This eBook is for the use of anyone anywhere in the United States and most other parts of the world at no cost and with almost no restrictions whatsoever. You may copy it, give it away or re-use it under the terms of the Project Gutenberg License included with this eBook or online at www.gutenberg.org. If you are not located in the United States, you'll have to check the laws of the country where you are located before using this ebook.
Title: Narrative and Critical History of America, Vol. VI (of 8)
The United States of North America, Part I
Author: Various
Editor: Justin Winsor
Release Date: April 18, 2016 [eBook #51789]
Language: English
Character set encoding: UTF-8
***START OF THE PROJECT GUTENBERG EBOOK NARRATIVE AND CRITICAL HISTORY OF AMERICA, VOL. VI (OF 8)***
| Note: | Images of the original pages are available through Internet Archive/American Libraries. See https://archive.org/details/narrcrithistory06winsrich |
| The United States OF North America PART I |
|
NARRATIVE AND CRITICAL
EDITED
By JUSTIN WINSOR
LIBRARIAN OF HARVARD UNIVERSITY
CORRESPONDING SECRETARY MASSACHUSETTS HISTORICAL SOCIETY
VOL. VI
BOSTON AND NEW YORK
HOUGHTON, MIFFLIN AND COMPANY
The Riverside Press, Cambridge
Copyright, 1887,
By HOUGHTON, MIFFLIN AND COMPANY.
All rights reserved.
The Riverside Press, Cambridge, Mass., U. S. A.
Electrotyped and Printed by H. O. Houghton & Company.
[The cut on the title shows the obverse of the Washington medal, struck to commemorate the siege of Boston.]
| CHAPTER I. | |
| The Revolution Impending. Mellen Chamberlain | 1 |
| Illustrations: George III., 20; Lord North, with Autograph, 21; Rockingham, 31; Fac-simile of Glorious News, May 16, 1766, 33; John Adams, 36; Fac-simile of Adams's Writing, 37; Samuel Adams, with Autograph, 40; Samuel Adams, 41; Revere's Plan of State Street at the time of the Boston Massacre, 48; Autographs of the Court for the Trial following the Boston Massacre,—Benjamin Lynde, John Cushing, Peter Oliver, Edmund Trowbridge, Jonathan Sewall, Samuel Winthrop, 50; of the Counsel,—Robert Treat Paine, Samuel Quincy, John Adams, Josiah Quincy, Jr., and Sampson S. Blowers, 51; Joseph Warren, 54; Fac-simile of Broadside, June 22, 1773, 55; A Contemporary Print, 59; Broadside, June 17, 1774, 61. | |
| Critical Essay | 62 |
| Editorial Notes | 68 |
| Illustrations: Statue of James Otis, 69; Jonathan Mayhew, 71; Autograph of Charles Chauncey, 71; George III., 76; Fac-simile of Handbill, Faneuil Hall Meeting, Oct. 28, 1767, 77; of Broadside, The True Sons of Liberty, 78; List of Merchants importing contrary to agreement, 79; Broadside proscribing William Jackson, 80; Revere's Cut of the Landing of Troops in Boston, 1768, 81; John Dickinson, with Autograph, 82; Autograph of James Bowdoin, 83; William Livingston, 84; Liberty Song, 86; Massachusetts Liberty Song, 87; Fac-simile of Instructions to Representatives, signed by Richard Dana and William Cooper, 87; Handbill on the Anniversary of the Boston Massacre, 89; Handbill of Warning, Dec. 2, 1773, 92; Philadelphia Poster about the Tea-Ships, 93; Josiah Quincy's Manuscript Dedication of his Port-Bill Tract, 94; Quincy Mansion, 96; Handbill announcing the Port Bill and Regulating Bill, 97; Handbill of General Brattle's Letter, 1774, 98; Autograph of Thomas Cushing, 99; Signers of the Congress of 1774, 102; Satirical Print, Virtual Representation, 103; Josiah Quincy's Diary, 105; Lord North, 107; Chatham, 109; Richard Price, Portrait and Autograph, 111; Autograph of Lord Dartmouth, 111. | |
| CHAPTER II.[iv] | |
| The Conflict Precipitated. The Editor | 113 |
| Illustrations: Autograph of Admiral Graves, 114; Notice of Committee of Correspondence, signed by William Cooper, 115; Autograph of Jedediah Preble, 116; of Joseph Hawley, 118; Roads of Roxbury and beyond, 120; Roads between Boston and Marlborough, 121; Heath's Account of the Fight at Menotomy, 126; General Heath, with Autograph, 127; Autograph of Ethan Allen, 128; Ruins of Ticonderoga, 129; Pen-and-Ink Sketch of the Roxbury Lines, 130; Warren's Last Note, 132; Notice to the Militia, 133; Order of the Committee of Safety, 135; Autograph of Colonel William Prescott, 135; of John Brooks, 136; of General Howe, 136; of John Stark, 137; of Richard Pigot, 137; of Governor Tryon, with seal, 140; of Joseph Reed, 141; Washington's Heads of Letter, July 10, 1775, 141; Letter of John Hancock, June 22, 1775, 143; Autograph of General Gage, 145; Handbill thrown within the British Lines, 147; Views of Country around Boston from Beacon Hill, 148, 149, 150, 151; A Vaudevil on The Boston Blockade, 154; Playbill of Zara, 155; Autograph of General Knox, 156; Views of Boston and of the Castle, 157; Proclamation of Washington, 159; Guy Carleton, with Autograph, 164; Seal of Lord Dunmore, 167; Plan of Attack on Fort Moultrie, 169; Plan of Attack on Charlestown, S. C., 170; William Moultrie, 171. | |
| Critical Essay | 172 |
| Notes | 174 |
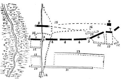
| Illustrations: Colonel Parker's Lexington Deposition, 176; Colonel Barrett's Concord Deposition, 177; Plan of Lexington, 179; of Concord, 180; Emerson's Diary, 181; Earl Percy, 182, 183; Lexington Green, 185; Richard Frothingham, 186; Ezra Stiles, with Autograph, 188; Autograph of Samuel Swett, 191; General Putnam, with Autograph, 192; Autograph of General Ward, 192; Joseph Warren, 193; Handbill (Tory Account) of the Battle of Bunker Hill, 196; View of the Battle of Bunker Hill, 197; Plans of Charlestown Peninsula and the Battle, 198, 199; Plan of the Battle, 201; Autograph of General Heath, 203; Plan of the Siege of Boston, 206; Boston and Vicinity, June, 1775, 208; Boston and Charlestown, 1775, 210; British Lines on Boston Neck, 211; Map of the St. Lawrence and Sorel Rivers, 215; General Montgomery on the Capitulation of St. John, 217; Attestation of Montgomery's Will, 218; Richard Montgomery, 220, 221; Benedict Arnold, with Autograph, 223; Montresor's Map of the Kennebec Region, 224; David Wooster, with Autograph, 225; Plan of Siege of Quebec, 226; Autograph of Charles Carroll of Carrollton, 227; View of Sullivan's Island, 228; View of Charlestown, S. C., and the British Fleet (1776), 229. | |
| CHAPTER III. | |
| The Sentiment of Independence, its Growth and Consummation. George E. Ellis | 231 |
| Critical Essay | 252 |
| Editorial Notes | 255 |
| Illustrations: Autographs of the Mecklenburg Committee, 256; Thomas Jefferson, 258; State House, Philadelphia, 259; Original Draft of the Declaration of Independence, 260; Autograph of Thomas Jefferson, 261; Portrait and Autograph of Roger Sherman, 262; Autographs of the Signers of the [v]Declaration of Independence, 263-266; Fac-simile of a Contemporary Broadside of the Declaration, 267; John Dickinson, 268; John Hancock (the Scott picture), 270; (a German picture), 271; Charles Thomson, 272; Fac-simile of a Page of Christopher Marshall's Diary, 273. | |
| CHAPTER IV. | |
| The Struggle for the Hudson. George W. Cullum | 275 |
| Illustrations: Mortier House, on Richmond Hill, Washington's Headquarters, 276; Lord Howe, 277; General Sir William Howe, 278; Lord Stirling, 280; Roger Morris House, Washington's Harlem Headquarters, 284; Autograph of Knyphausen, 289; Portrait and Autograph of Burgoyne, 292; another Portrait, 293; Lord George Germain, 295; General Arthur St. Clair, 297; Autograph of General Schuyler, 297; General John Stark, 301; General Horatio Gates, 302; General Horatio Gates, with Autograph, 303; Sir Henry Clinton, Portraits and Autograph, 306, 307; General George Clinton, 308; Fac-simile of Burgoyne's Letter to Gates, 310; Rude contemporary Cuts of Washington and Gates, 311. | |
| Critical Essay | 315 |
| Disposal of the Convention Troops | 317 |
| Editorial Notes | 323 |
| Illustrations: Plan of Fort Montgomery, 324; Chain at Fort Montgomery, 324; Plan of Constitution Island, 325; Plans of the Battle of Long Island, 327, 328; Ratzer's smaller Map of New York City, 332; Johnston's Map of New York Island (1776), 335; the Sauthier-Faden Plan of Campaign round New York (1776), 336; Fort Washington and Dependencies, 339; the Sauthier-Tryon Map of New York Province (1774), 340; the Present Seat of War, from Low's Almanac, 342; New York and Vicinity, from the Political Magazine, 343; Campaign of 1776, from Hall's History, 344; Hessian Map of the Campaign above New York (1776), 345; Map of Arnold's Fight near Valcour Island, 347; Trumbull's Plan of Ticonderoga and its Dependencies (1776), 352; Map of Ticonderoga (1777) used at St. Clair's Trial, 353; Fleury's Map of Fort Stanwix, 355; Plan of the Conflict at Saratoga, 362; Attack on Forts Clinton and Montgomery as mapped by John Hills, 363; another Plan, from Leake's Life of Lamb, 365. | |
| CHAPTER V. | |
| The Struggle for the Delaware.—Philadelphia under Howe and under Arnold. Frederick D. Stone | 367 |
| Illustrations: Charles Lee, 369; his Autograph, 370; Fac-simile of an Appeal of the Council of Safety, Dec. 8, 1776, 371; Broadside of the Council of Safety, 372; Lord Howe, 380; General Grey, 383; General Sir William Howe, 383; Alexander Hamilton, 384; Anthony Wayne, 385; the Destruction of the "Augusta", 388; Fac-simile of Proclamation of Washington, Dec. 20, 1777, 390; Playbill of Theatre in Southwark, February, 1778, 394. | |
| Editorial Notes | 403 |
| Illustrations: Autograph of General Richard Prescott, 403; Map, from the Gentleman's Magazine, of the Neighborhood of New York, 404; Joseph Reed, 405; Charles Lee, 406; Marshall's Map of Trenton, Princeton, and Monmouth, 408; Hessian Map of Trenton and Princeton, 409; Faden's Map of Trenton and Princeton, 410; Wiederhold's Map of Trenton, 411; [vi]Wilkinson's Map of Trenton, 412; of Princeton, 413; Hall's Map of the Campaign of 1777, 414; Galloway's Map, 415; General Sir William Howe, 417, 418; Washington's Map of Brandywine, 420; Hessian Map of Brandywine, 422; Hessian Map of Paoli, 423; Faden's Map of Trudruffrin, or Paoli, 424; Approaches to Germantown, 425; Montresor's Map of Germantown Battle, 426-427; Hessian Map of Germantown, 428; View of Stenton, Logan's House, 429; Faden's Map of Operations on the Delaware, 429; Lafayette's Map of the Attack at Gloucester, N. J., 430; Map of Fort Mifflin on Mud Island, 431; Fleury's Plan of Fort Mifflin, 432-433; Attack on Fort Mifflin, 434-435; Plan of Mud Island Fort, 437; Attack on Mud Island, 438; Map of Valley Forge Encampment, 439; Defences of Philadelphia, 440, 441; Vicinity of Philadelphia, 442; Barren Hill, 443; Plan of the Battle of Monmouth, 444; Monmouth and Vicinity, 445. | |
| The Treason of Arnold. The Editor | 447 |
| Illustrations: Portraits of Benedict Arnold, 447, 448, 449; Arnold's Commission as Major-General, signed by John Hancock, 450; Plans of West Point, 451, 459, 462; Portraits of Major John André, 452, 453, 454; Autographs of André, 452, 453; Plans of the Hudson River, 455, 456, 465; Portrait and Autograph of Benjamin Tallmadge, 457. | |
| CHAPTER VI. | |
| The War in the Southern Department. Edward Channing | 469 |
| Illustrations: View of Charlestown, S. C., 471; Fac-simile of General Moultrie's Order, 471; Fac-simile of Commodore Whipple's Letter, 472; General Benjamin Lincoln, Portrait and Autograph, 473; Portraits of Cornwallis, 474, 475; Portrait of General Gates, 476; Lord Rawdon, 489; Kosciusko, 492; Steuben, 497; Portrait and Autograph of Rochambeau, 498; Autographs of French Officers, 500; Portraits of Comte de Grasse, 502, 503; his Autograph, 502; Fac-simile of Articles of Capitulation at Yorktown, 505; Nelson House, 506. | |
| Critical Essay | 507 |
| Illustrations: Portraits of General Nathanael Greene, 508, 509, 512, 513; his Autograph, 514. | |
| Notes | 519 |
| Illustrations: Map of Siege of Savannah (1779), 521; Plan of Charleston (1780), 526; Siege of Charleston, 528; Battle of Camden, 531; Gates's Defeat, 533; Battle of Guildford, 540; Map of Cape Fear River, 542; Action at Hobkirk's Hill, 543; Diagram of the Naval Action of De Grasse, 548; Plans of the Yorktown Campaign, 550, 551, 552. | |
| Editorial Notes on Events in the North | 555 |
| Illustrations: Hessian Map of the Hudson Highlands, 556; Stoney Point, 557; Verplanck's Point, 557; Faden's Plan of Stony Point, 558; Paulus Hook, 559. | |
| CHAPTER VII. | |
| The Naval History of the American Revolution. Edward E. Hale | 563 |
| Illustrations: Fac-simile of Commodore Tucker's Orders to command the "Boston", 566; Esek Hopkins, 569; Autograph of Joshua Barney, 575; of Captain John Barry, 581; Fac-simile of Captain Tucker's Parole at Charleston, 583. | |
| General Editorial Notes[vii] | 589 |
| Special Editorial Notes | 589 |
| Illustrations: Paul Jones, 592; Richard Pearson, 593; Count D'Estaing, 594, 595; his Autograph, 595; Plan of the Siege of Newport, 596; Blaskowitz's Plan of Newport, 597; Sullivan's Campaign Map, 598; View of the Fight on Rhode Island, 599; Lafayette's Map of Narragansett Bay, 600; his Plan of the Campaign on Rhode Island, 602; Autograph of General Solomon Lovell, 603; Map of the Attack on Penobscot (Castine), 604. | |
| CHAPTER VIII. | |
| The Indians and the Border Warfare of the Revolution. Andrew McFarland Davis | 605 |
| Illustrations: Guy Johnson's Map of the Country of the Six Nations, 609; Joseph Thayendaneken (Brant), 623; Brant, by Romney, 625; his Autograph, 625; St. Leger's Order of March, 628; Peter Gansevoort, 629; the Butler badge, 631; General Sullivan, 637. | |
| Critical Essay | 647 |
| Notes | 673 |
| Illustration: Map of Colonel Williamson's Marches, 675. | |
| CHAPTER IX. | |
| The West, from the Treaty of Peace with France, 1763, to the Treaty of Peace with England, 1783. William Frederick Poole | 685 |
| Illustrations: Henry Bouquet, 692; Plan of Bushy Run Battle, 693; Bouquet's Council with the Indians, 695; Bouquet's Campaign Map, 696; Map of the Illinois Country, 700; Ruins of Magazine at Fort Chartres, 703; Daniel Boone, 707; Plan of Kaskaskia, 717; Lieutenant Ross's Map of the Mississippi, 721; Fac-simile of Colonel Clark's Summons to Governor Hamilton, 727. | |
| The Closing Scenes of the War. The Editor | 744 |
| Illustrations: Captain Asgill, 745; Fraunce's Tavern in New York, 747. | |
| INDEX | 749 |
NARRATIVE AND CRITICAL
HISTORY OF AMERICA.
THE REVOLUTION IMPENDING.
BY MELLEN CHAMBERLAIN,
Librarian Boston Public Library.
THE American Revolution was no unrelated event, but formed a part of the history of the British race on both continents, and was not without influence on the history of mankind. As an event in British history, it wrought with other forces in effecting that change in the Constitution of the mother country which transferred the prerogatives of the crown to the Parliament, and led to the more beneficent interpretation of its provisions in the light of natural rights. As an event in American history, it marks the period, recognized by the great powers of Europe, when a people, essentially free by birth and by the circumstances of their situation, became entitled, because justified by valor and endurance, to take their place among independent nations. Finally, as an event common to the history of both nations, it stands midway between the Great Rebellion and the Revolution of 1688, on the one hand, and the Reform Bill of 1832 and the extension of suffrage in 1884, on the other, and belongs to a race which had adopted the principles of the Reformation and of the Petition of Right.
The American Revolution was not a quarrel between two peoples,—the British people and the American people,—but, like all those events which mark the progress of the British race, it was a strife between two parties, the conservatives in both countries as one party, and the liberals in both countries as the other party; and some of its fiercest battles were fought in the British Parliament. Nor did it proceed in one country alone, but in both countries at the same time, with nearly equal step, and was essentially the same in each, so that at the close of the French War, if all the people of Great Britain had been transported to America and put in control of American affairs, and all the people of America had been transported to Great Britain and put in control of British affairs, the American Revolution and the contemporaneous British Revolution—for there was a contemporaneous British Revolution—might have gone on just the[2] same, and with the same final results. But the British Revolution was to regain liberty; the American Revolution was to preserve liberty. Both peoples had a common history in the events which led to the Great Rebellion; but in the reaction which followed the Restoration, that part of the British race which awaited the conflict in the old home passed again under the power of the prerogative, and, after the accession of William III., came under the domination of the great Whig families. The British Revolution, therefore, was to recover what had been lost. But those who emigrated to the colonies left behind them institutions which were monarchical, in church and state, and set up institutions which were democratic. And it was to preserve, not to acquire, these democratic institutions that the liberal party carried the country through a long and costly war.[1]
The American Revolution, in its earlier stages at least, was not a contest between opposing governments or nationalities, but between two different political and economic systems, to each of which able and honest men then adhered, and now adhere. The motives and conduct of each party, therefore, ought to be stated with exact impartiality. It was not only inevitable, but wise, and on the whole wisely conducted in accordance with the traditions and methods of political action to which our British race had been accustomed. It was also honestly and fairly opposed by those who neither accepted revolutionary principles, nor recognized the validity of the reasons assigned for their application to the existing state of affairs.
Readers of American history from the Restoration of Charles II., in 1660, to the Revolution find frequent reference to the King's Prerogatives, Navigation Laws, Acts of Trade, and in later years to Writs of Assistance, as subjects of complaint between Great Britain and her colonies; and as these were among the immediate causes of the war, they require explanation. When the Earl of Hillsborough (April 22, 1768) required the House of Representatives of Massachusetts, through Governor Bernard (June 21st), in his majesty's name, to rescind the resolution which had given birth to their Circular Letter of February 11, 1768, the order was a claim of right by the king to control the legislative action of that province; and the refusal of the House was regarded by the prerogative party both in Great Britain and in the colonies as in derogation of the king's constitutional power.
What was the foundation of this alleged authority of the king over the colonies? By the public law of all civilized nations in the fifteenth century, the property in unoccupied lands belonged to the crown of the country by which they were discovered;[2] and if, as was generally the case, these lands were inhabited by savages, still the fee was in the crown, subject only to such use as might be made of them by wandering tribes. Such is the law to-day. This title to the English colonies was not in the[3] people of England nor in the state, but in the crown, and descended with it. The crown alone could sell or give away these lands. The crown could make laws for the inhabitants, and repeal them; could appoint their rulers, and remove them. Parliament could do neither. The political relations of the colonists were to the crown, not to the government of England; nor were they in any respect subject to parliamentary legislation.[3] They were not citizens within the realm, nor, except in a qualified sense, of the empire, but subjects of the crown, having only such rights as it granted to them in their charters; and even these charters the crown claimed, and exercised the right to amend or revoke. James I. amended that of Virginia in 1624, and Charles II. revoked that of Massachusetts in 1684. They were regarded merely as charters of incorporated land companies, and, as such, subject to revocation by the king who granted them; and when these companies had developed into municipal governments, they were considered as still subject to alteration or repeal by the sovereign power,[4] although in both cases rights of property were saved to the owners. Strange as this doctrine may seem, it is now substantial law in England and in America.
To all these rights, privileges, and disabilities the emigrants agreed when they purchased lands from the crown; and the rights and duties, whether of the crown or of its subjects, descended to their respective successors. With such rights, though not in all cases with such views in respect to them, the colonists came to America; and such rights, and no more, their children possessed, under the British Constitution, at the time of the American Revolution, in the days of George III.
These claims of the crown every colony resisted as incompatible with its essential rights, and yet they were legal and constitutional prerogatives, admitted by the greatest judges of England, and most necessarily have been admitted in the colonies not only by Hutchinson and Oliver, but by James Otis and John Adams, had they sat as judges. It was on this legal and constitutional ground that the prerogative party stood both in England and in America.
But in England from the time of James I., and in America from the coming of Winthrop, there had been an anti-prerogative party; and as the prerogative party in England and the prerogative party in America were one and the same, so the anti-prerogative party in England and the anti-prerogative party in the colonies were one and the same, having similar views, and, though separated by a thousand leagues, working to the same end. On this question came the first political contest of the Revolution; that of parliamentary supremacy came later. The strength of one side was in legal and constitutional principles, as they were then interpreted by judicial tribunals; that of the other lay in the changes which were taking[4] place in the British Constitution,—in short, in revolution. The revolutionary party succeeded in both countries: in America, by war; in England, by more silent influences which have greatly modified, if not destroyed, the prerogative.
Although the prerogative was a cardinal right in the British Constitution, and freely exercised by popular sovereigns like Elizabeth, it began to be questioned under James I., and resisted under Charles I., who lost his life in its defence, as James II. lost his crown.[5] But the progress of this revolution was not steady, nor did it always hold what it had gained. There came periods of reaction, one of which was in the early days of George III. He was strenuous in maintaining his prerogative, and, by the support of the "King's Friends", probably held it with a firmer hand than any of his predecessors since Elizabeth. The contest about the prerogatives encountered this difficulty: that successful resistance in a particular instance settled no principle, but left all other cases untouched.[6] The extension of the navigation acts to the colonies by Parliament, though assented to by King Charles II., was in derogation of his prerogatives; and so in the time of William III. (1696) was the attempt to transfer certain colonial affairs from the Privy Council, which represented the king, to a proposed Council of Commerce, which would have been the creature of Parliament. In consistency with these proceedings, the king's power over the colonies ought to have been transferred to Parliament; and instead of remaining the king's colonies, they ought to have become a part of the empire, and his authority over them no greater than that over the territory within the four seas. But it was otherwise. The colonists remained the king's subjects. He appointed their governors; he frequently set aside their laws, and over them[5] he exercised his royal prerogatives. One capital point, however, had been gained by the revolutionary party on both sides of the water. Successful invasions of the prerogative had at length created what was called the "spirit of the constitution."[7] The loyalists, however, seemed to be firmly entrenched in their constitutional position, nor did the anti-prerogative party avoid a dilemma: how to escape out of the hands of the king without falling into the hands of Parliament. If, as some claimed when they resisted the royal prerogative, they were British subjects, entitled to the same rights and privileges as native-born subjects within the realm, why then should they, more than other subjects, be free from the burdens imposed by the imperial policy? But when, in pursuance of that policy, Parliament undertook to tax the colonies, then they were forced by the logic of the situation to claim that, though subjects of "the best of kings", they owed no more allegiance to Parliament than the Scotch did before the union.[8]
Probably no one more heartily detested the claims of the prerogative than Franklin; and yet the phase which the controversy had assumed compelled him to take high prerogative ground. Such was his position with regard to the Stamp Act, as is seen in the note below.[9] Andros himself could have asked for nothing better, in 1686; and when Franklin was asked what the king could do, should the colonies refuse just requisitions, he had no other answer than this,—that they would not refuse!
Such is the doctrine of the prerogative which gave rise to constant conflicts between the king and the colonists, from 1660 to 1774, and in every colony was among the political causes which led to the Revolution. But it was an English question as well as an American question,—a party question in both countries, and it was finally settled with the same result in each, though by different means. We must look further for the real controversy between the English people and the American people.
Another cause of the Revolution, but one which, in no strict sense, concerned the political relations between the people of Great Britain and the American colonists, was the attempt of the British merchants to monopolize the trade of the colonies, not for the benefit of the British people, but for their own. This also was a party question, on one side of which were arrayed the adherents of the Mercantile or Protective System, and on the[6] other those of the Economic or Free Trade System. The mercantile class endeavored to subordinate colonial interests to the protective system by navigation laws and acts of trade; and the resistance of the colonists to these acts was a claim for free trade which finally involved them in a war with the mother country.
What were those navigation laws and acts of trade which called forth the invective of James Otis when he argued the Writs of Assistance, and revived in the bosom of the octogenarian John Adams the hearty curse he bestowed upon them in his youth; and on what foundation did they rest?[10]
Nations acquire new territories, and maintain and defend them, to promote their own interests, and not the interests of those who inhabit them; still less the interests of other nationalities. This has been the case in all ages and under all forms of government, to which our own age and nation form no exception. By the right of discovery the British crown became possessed of the territory included in the thirteen American colonies, settled mainly by British subjects. Lands were granted to individuals, or companies, with the expectation that they would build up prosperous communities, to contribute by their products and trade to the wealth of the mother country. On these purely selfish considerations she protected them; and when their trade was grown to be considerable and their markets valuable, the British merchants took measures to secure both, instead of sharing them with other nations, or allowing them to follow the interests of the colonists. Such was the policy of Great Britain at the dictation of the mercantile class; and in the maintenance of that policy, in sixty years between 1714 and 1774, she paid out of her Exchequer the enormous sum of £34,697,142 sterling, a sum greater than the estimated value of the whole real and personal property in the colonies.[11]
Between 1660 and 1770 Parliament enacted various laws whose enforcement produced irritation from the beginning, and had no inconsiderable influence in promoting the final rupture. These acts may be classed as,—First, navigation laws, designed to secure the naval and maritime supremacy of Great Britain throughout the world; these were aimed at the Dutch. Second, acts of trade, procured by the mercantile class, to monopolize the trade of the British colonies. Like the corn-laws of a later generation, these formed part of the protective system, and were dictated by class interest. Third, acts for the protection of British manufactures by preventing their growth in the colonies, where their best market was found. Fourth, acts designed to secure the strict execution of the preceding acts by establishing colonial admiralty courts, custom-houses, and boards of customs. Fifth, acts which imposed and regulated duties and port charges in commercial towns. In no sense were these acts for revenue, British or colonial. They brought nothing into the British Exchequer, but drew large sums from it.[12] They were passed solely in the interest of the mercantile[7] and manufacturing classes, whose protection had much to do with bringing on the Revolution, but whose clamors happily prevented efficient measures for its suppression. These demonstrations, which gained them great credit in the colonies, grew out of their fear of losing not only the £4,000,000 due by their colonial debtors, but also their future trade.
Before the Grenville Act of 1764 no measures had been taken to relieve the Exchequer from demands on account of the colonies. The people and the government had suffered the mercantile and manufacturing classes to dictate their colonial policy. Not that the prosperity of these classes did not contribute to the general prosperity of the realm; for, on the contrary, it had made Great Britain the most affluent and powerful country on the globe. But this system did not promote the welfare of all classes alike; and when the time came, as it did after the frightful expenditure in the French War, that the Chancellor of the Exchequer was compelled to ask for ready money to pay the interest on the debt and to meet current expenses, neither the merchants nor the manufacturers, who had grown rich by the war, offered on that account to pay larger taxes, but they were quite willing that the British farmer should do so, or that a revenue should be sought from the American colonies.
Some account of these famous laws is essential at this point. There were three statutes embraced under the general term Navigation Laws and Acts of Trade, in which are to be found the principles of the Mercantile System. They were passed in 1660, 1663, and 1672, during the reign of Charles II., and may be found in the Statutes at Large,[13] with the following titles respectively: "An Act for the Encouraging and Increasing of Shipping and Navigation", "An Act for the Encouragement of Trade", and "An Act for the Encouragement of the Greenland and Eastland Trades, and for the Better Securing the Plantation Trade."[14]
The navigation laws will be more readily understood if we attend solely to their effect on the American colonies, and disregard unimportant exceptions and limitations. By the act of 1660, none but English or colonial ships could carry goods to or bring them from the colonies. This excluded all foreigners, and especially the Dutch, who at that time were the principal carriers for Europe. The result was that the colonists lost the advantage of their competition. Far more serious was the provision which restricted them from carrying sugar, tobacco, cotton, wool, indigo, ginger, fustic and all other dyeing wood, the product of any English colony, to any part of the world, except Great Britain, or some other English colony. This affected the English sugar islands of the West Indies and the Southern colonies, which were obliged to send their products to the overstocked[8] English or colonial markets, more than it affected New England, whose great staples, lumber, fish, oil, ashes, and furs, were free to find their best market, provided only they were sent in English or colonial vessels.
British merchants not satisfied with this monopoly procured a more stringent act in 1663, which provided that no commodity, the growth, product, or manufacture of Europe, should be imported into the colonies, except in English-built ships, sailing from English ports. By this act England became the sole market in which the colonists could purchase the products or manufactures of Europe, nor could they send their own ships for them, unless English-built or bought before October 1, 1662. They were obliged to buy in English markets and import in English vessels.[15] This discouraged ship-building for the European trade in a country full of timber, and compelled the payment of charges and profits to English factors dealing in Continental goods for the American market.
By these two acts British merchants had undertaken to monopolize, with certain exceptions, the carrying trade of the colonies and their markets for the sale and the purchase of goods. But avarice was not satisfied. There had grown up a trade, especially profitable to New England, with the Southern colonies which were without shipping. By the act of 1660, foreign and intercolonial trade in certain articles was permitted, with the expectation that it would be limited to necessary local supply. But Boston merchants, shipping to that port tobacco and some other colonial products in excess of the local demand, sent the surplus to Continental Europe, without payment of British or colonial duties, and thus undersold the British trader, who had paid heavy import duties. To suppress this profitable irregularity, it was enacted in 1672 that the enumerated products shipped to other colonies should be first transported to England, and thence to the purchasing colony. The colonial merchants had the option, however, of bringing tobacco, for instance, from Virginia direct to Massachusetts, first paying an export duty equivalent to the English import duty.[16]
These enactments subjected colonial interests to those of British ship-owners and merchants; and as they had been thus duly protected, the manufacturers in turn claimed similar protection by statutes which should prevent the colonists from setting up competing manufactories.[17] How could there have been any difference of opinion among the colonists respecting such statutes? A general answer is, that the colonial system, which regarded the colonies as feeders for the navigation, trade, and manufactures of the parent state, was the accepted doctrine of European statesmen. Pitt[9] was its stanchest advocate, and Burke its rational friend. Adam Smith, who assaulted it in 1776,[18] did not succeed in overthrowing it. Twenty-five years later, Henry Brougham controverted Smith's views.[19] It is not strange, therefore, that it found advocates among the colonists themselves. It was also far from being a one-sided question.
James Otis's arguments on the Writs of Assistance and John Adams's letters to William Tudor, by dwelling on the injurious features of these acts, and passing over all compensating considerations, give an erroneous notion of them. The idea that they originated in a hostile disposition of the British people or merchants towards the colonists is not entitled to a moment's consideration. They formed a commercial policy, not a political policy. The more numerous, wealthy, and prosperous the colonists became, the more useful they were to the British merchants, so long as they could monopolize the trade. That was their object; and where the freedom of colonial trade would not interfere with British trade, it was left free. For example, the most profitable trade of New England was with the French and Spanish West India Islands and the Spanish Main. The short distance favored small vessels and small capitals. The exchange of lumber, grain, cattle, and fish for sugar and molasses, with an occasional voyage to the coast of Africa for slaves, during that traffic,[20] yielded rich returns. This trade was free; and so was that of Asia and Africa, and some ports of Europe, except for certain enumerated articles. It was not only permitted, but with respect to some commodities was encouraged by bounties. Between 1714 and 1774, the colonists, chiefly those of New England, received £1,609,345 sterling on their commodities exported to Great Britain;[21] and through a system of drawbacks, by which the duties on goods imported into England were repaid on their exportation to America, the colonists often bought Continental goods cheaper than could the subjects within the realm. These favors no more indicated good will than the restrictions indicated hostility. Both rested on purely commercial considerations. There were other compensations. The naval supremacy of Great Britain, due chiefly to the navigation laws, protected colonial commerce in whatever seas it was pushed; and the stimulus of monopoly withdrew British capital from other less lucrative enterprises, and directed it to the colonies, where it was freely used by planters in developing lands which otherwise would have been uncultivated for lack of capital.[22] And although certain colonial produce was obliged to find its only European market in England, it had the monopoly of that market.
If it was a hardship to the tobacco growers of Maryland and Virginia to be compelled to send that product to England, they had this advantage, that no Englishman could use any other. He was forbidden by penal statutes[10] to grow his own supply even in his own garden. As to those laws which restrained manufactures in the colonies, it was the opinion of Henry Brougham,[23] who cites Franklin as an authority, that they merely prohibited the colonist from making articles which could have been more cheaply purchased.[24] He could import a hat from England for less than it cost to make one, and he did so. But the best ground for nominal submission to the navigation laws and acts of trade was found in their easy evasion, and the fact that they never were, and never could have been, rigidly enforced. From the first, all attempts to enforce them led to dissatisfaction. Randolph's revenue seizures in the time of Charles II. and James II. had no small influence in overthrowing Andros's government in the revolution of 1689, and so had Charles Paxton's in bringing on the American Revolution.
Before the new policy of enforcing these laws was entered upon, the colonies enjoyed British naval protection; they possessed the monopoly of the British market; they drew bounties from the British Exchequer; they purchased European goods more cheaply than the British people could do; and, stating the facts somewhat broadly, they manufactured whatever they found to be for their advantage, and sent their ships wherever they pleased, notwithstanding the navigation laws and acts of trade. The result was that the colonies, especially barren and frozen New England, engrossed most profitable commerce which England had attempted to monopolize, and increased in wealth beyond all colonial precedent.[25] But these halcyon days were destined to pass under clouds. British merchants had seen from the beginning the amassing of fortunes in the colonies by illicit trade, and the falling off of their own. They had striven to enforce the laws, and Parliament had lent its assistance,—but in vain. Under the first charter of Massachusetts, the collector of customs was the governor, whose annual election depended upon the good will of those who were evading the navigation laws; under the second charter, the governor was appointed by the king, and sworn to enforce those laws. But colonial juries generally checkmated the king's representative. Then followed admiralty courts without juries, which produced indignant protests. The new system was irritating rather than efficient on a long line of coast filled with bays, creeks, and ports not patrolled by revenue cutters. The British merchant was foiled, and anger was the result. The attempt to monopolize the commerce of the colonies was a failure; and so long as the navigation laws were a dead letter the advantages of the situation were with the colonists. They were content.
But the time came at the close of the French War when the mercantile system was subordinated to a revenue system, and the enforcement of the navigation laws and acts of trade, made more stringent by some new ones,[11] became the policy of the government. Its instruments were admiralty courts with enlarged jurisdiction, commissioners of customs, writs of assistance, and an adequate naval force. When that time came, the Revolution was not far off![26]
In 1755, Shirley, then governor of Massachusetts, had persuaded the General Court to attempt by a stamp act to meet the expenses of the French War. This produced an irritation like that which followed in 1765 the act of the British ministry;[27] and to Shirley, as much as to any other man, perhaps, was due the suggestion of those parliamentary measures which led to the Revolution. Long residence in Boston and his profession as a lawyer had made him familiar with the evasions of the navigation laws; and his larger duties as commander-in-chief, in which he found much difficulty in bringing the colonial assemblies into concerted and efficient action, doubtless suggested measures which were adopted by the British ministry. However this may have been, the enforcement of the navigation laws was taken in hand for the first time by the government, and no longer left to depend upon private interests. This unwonted activity was shown as early as 1754. Its most formidable weapon was the Writ of Assistance.
More than four years before the passage of the Stamp Act, James Otis had resisted the granting of these writs before the Superior Court of Massachusetts. John Adams, then a student of law, took notes of Otis's argument, and fifty-six years later wrote: "Then and there was the first scene of the first act of opposition to the arbitrary claims of Great Britain. Then and there the child Independence was born."[28] This was no mere rhetorical phrase.[29] The influence of this controversy in producing the Revolution is not wholly due to the fiery eloquence of Otis, whose words, said John[12] Adams, "breathed into the nation the breath of life", nor to the range of his argument, which called in question the mercantile and political systems of Great Britain, but to their effect upon the commercial interest—then the leading one—of New England; for if the latent powers of these writs were set free, and used by the revenue officers, the commerce of Boston, Salem, and Newport would have been effectually crippled. Authorized in England, they were extended to the colonies by an act of William III.[30] The officers of customs, however, instead of applying to the courts for them, relied upon the implied powers of their commissions, and forcibly entered warehouses for contraband goods. The people grew uneasy, and some stood upon their rights against the officers, whose activity was stimulated by documents like that given in the note below.[31]
Governor Shirley issued these writs, though the power to do so was solely in the court.[32] But they would have held a less important place in the history of the Revolution had it not been for the concurrence of several circumstances. All writs become invalid on the demise of the crown and six months thereafter. George II. died October 25, 1760, and the news reached Boston December 27th. The government had already resolved upon a more vigorous enforcement of the revenue laws. The king had instructed Bernard, the newly appointed governor of Massachusetts, to "be aiding and assisting to the collectors and other officers of our admiralty and customs in putting in execution" the acts of trade. Pitt also directed the colonial governors to prevent trade with the enemy and a commerce which was "in open contempt of the authority of the mother country, as well as to the most manifest prejudice of the manufactures and trade of Great Britain."[33] Seizures of uncustomed goods were frequent. The third part of the forfeiture of molasses which belonged to the province amounted before 1761 to nearly five hundred pounds in money. Bernard arrived in August, 1760. Chief Justice Sewall, who had expressed doubts as to the legality of writs of assistance, died September 11th; and Hutchinson, his successor, took his seat January 27, 1761. As the outstanding writs had become invalid, their renewal became necessary. But when Charles Paxton, the surveyor at Boston, appeared for that purpose in the Superior Court, February term, 1761, he was confronted by a petition signed by sixty inhabitants of the province, chiefly merchants of Boston, who desired to be[13] heard in opposition, in person and by their counsel, James Otis and Oxenbridge Thacher. Otis, Advocate-General for the crown, had resigned his office to avoid supporting the writ.[34] Gridley, the Attorney-General, appeared in his stead. No complete report of the arguments has been preserved.[35] Gridley, who treated the question as purely one of law, to be determined by statutes and precedents, said of Otis's argument, that "quoting history is not speaking like a lawyer;" and as to the arbitrary nature of the writ which allowed the entry of private houses in search of uncustomed goods, he reminded him that by a province law a collector of taxes, without execution, judgment, or trial, could arrest and throw a delinquent taxpayer into prison. "What! shall my property be wrested from me? Shall my liberty be destroyed by a collector for a debt unadjudged, without the common indulgence and lenity of the law? So it is established; and the necessity of having public taxes effectually and speedily collected is of infinitely greater moment to the whole than the liberty of any individual."
Otis's argument is well known. Carried to its logical results, it was a plea for commercial and political independence of the colonies, and was fully vindicated by the result of the conflict it precipitated. But as a legal argument it is less conclusive.[36]
The majority of the court, however, were with Otis; and had judgment been given at the time, the decision would have been in his favor. But Hutchinson counselled delay until the practice in England could be learned; and as it appeared that such writs were issued, of course, from the Exchequer, on the 18th of November, the court, after re-argument, pronounced them to be legal. Thenceforth they were freely used. Otis's argument, without doubt, secured his election to the General Court in May, in which his influence was second to that of no other in bringing on the[14] struggle which ended in independence. Nor was its effect limited to Massachusetts. It reached the remotest colonies, and, as John Adams said, led to "the revolution in the principles, views, opinions, and feelings of the American people."[37]
Revolution, however, had been long impending. The treaty of Aix-la-Chapelle in October, 1748, which put an end to the long war between England and France, opened with the declaration that "Europe sees the day which the Divine Providence had pointed out for the reëstablishment of its repose. A general peace succeeds to a long and bloody war." But neither the peace, nor the treaty by which it was secured, was satisfactory to one of the belligerents; for England had failed to secure the commercial advantages for which the war had been undertaken, and the terms of the treaty, requiring her to give hostages for the restoration of Cape Breton to France, excited the indignation of the British people. Nor were other causes for the renewal of the war wanting. The aggressive policy of France in respect to the English possessions in Acadia and along the Ohio and the Mississippi, notwithstanding the treaty, soon produced its legitimate results. The Seven Years' War followed. In Asia and in the West Indies, the maritime powers measured their strength by sea. At the same time in North America, England and her colonies on the one side, and France on the other, contended for the empire of the continent. Led by Clive, Wolfe, Amherst, and Rodney, and inspired by the genius of Pitt, the forces of England everywhere prevailed, and she took the first place among the nations.
On the 10th of February, 1763, at Paris, was signed the treaty that recognized the extinction of the French empire in North America. This treaty marks an epoch in the history of America, as well as in that of England and of France. To the latter it was a period of humiliation, not only in the loss of colonies upon which, for nearly a century, she had expended vast sums without any adequate return, but also in the frustration of her purpose of gaining sole possession of the continent.
By England it was regarded as the close of a contest to maintain her power on the same continent, and make it subservient to her commercial and manufacturing interests, which had lasted for nearly a hundred years. Yet there was a well-founded apprehension, expressed at the time, that her colonies, relieved from the fear of French aggressions, would throw off the authority of the mother country.[38] What was the fear of the mother country, on the other hand, was the hope and expectation, more or less remote, of the colonies. For the experience gained in the French wars was of great value to them in the revolutionary struggle. Officers had become familiar with the direction of large bodies of troops, and with the means of their transport and supply; and soldiers had learned that efficiency depended upon discipline. Provincial assemblies also had been taught to look for safety in strategic operations remote from their own territory. But[15] at no time before the assembling of the congress of 1754 had the colonies been called to consider such a union of all as would give unity to military operations, and secure the semblance, at least, of a general government. The union proposed at that time would have involved some loss of independence, without securing any efficient means of enforcing the recommendations of the congress, and so the colonies hesitated, and finally laid it aside. But there can be no doubt that the consideration given to it by the several colonies led them more readily to come together for concerted action in the congress of 1765.
The year 1763 is usually regarded as the beginning of the American Revolution, because in that year the English ministry determined to raise a revenue from the colonies. This led to a contest, which, like most civil wars, was long and embittered. It engendered feelings which have not yet passed away,—feelings which interfere with a calm and dispassionate review of the motives of the parties concerned, and of the circumstances which attended their controversy. It was a war between Britons and the descendants of Britons, who, with a common ancestry, laws, and manners, retained their essential race characteristics in spite of the lapse of time or the change of place: everywhere and always lovers of liberty, but in power haughty, insolent, and aggressive on the weak, and in subjection turbulent and impatient of restraint; proud of ancestry, partial to old customs and precedents, but quick to resist laws which impede the course of equity, and never permitting forms to prevent the accomplishment of substantial justice. Such was the parent and such was the child: and in the light of these facts we are to read the history of the Revolution. It exhibited the race in no new light, nor did the contest involve any new principle. Its sentiments were expressed in the old idiomatic language,—petition, remonstrance, riot, war.
For more than a hundred years the colonies had been regarded as appendages to the crown rather than as an integral part of the empire; and when Parliament, at the instigation of the mercantile classes and in derogation of royal prerogative, began at the close of the seventeenth century to assume control over them, and, a few years later, to vote large sums from the imperial treasury for their protection, and, in some cases, for the support of their civil governments, that body looked for reimbursement to the profits which would inure to British merchants from the monopoly of colonial trade and navigation, and flow indirectly into the national Exchequer. But with the close of the French War a new policy seemed to become necessary. The debt had swelled to frightful proportions. The British people were groaning under the weight of the annual interest and their current expenses. Every source of revenue seemed to be drained, and the ministry turned their eyes for relief to the colonies; not, indeed, for relief from the present debt, but from the necessity of adding to it the whole expense of defending the colonies. This was the fatal mistake which[16] precipitated the Revolution. On this subject, however, there seems to be some misapprehension. The popular idea was, and still is, that the colonists were to be taxed to pay the interest on the national debt and the current expenses of the government, and that all moneys raised in the colonies were to pass into the British Exchequer (thus draining them of their specie), there to remain subject to the king's warrant. Such, however, was not the scheme of the ministry. Not a farthing was to leave America. All sums collected were to be deposited in the colonial treasuries, and only certificates thereof were to be sent to the Exchequer. These were to be kept apart from the general funds, and, after defraying the charges of the administration of justice and the support of the civil government within all or any of the colonies, they were to be subject to parliamentary appropriation for their defence, protection, and security, and for no other purpose.[39]
The alleged necessity was this: The government had broken the French power in Canada, and shaken its hold upon the lakes and great rivers of the West. This achievement, so glorious to the empire, and therefore to the colonies as parts of it, and more immediately for their benefit, had added one hundred and forty millions to the national debt, under which the subjects within the realm were staggering. While some colonies had been tardy or negligent in furnishing their quotas of men and money for the war, yet it was acknowledged that as a whole they had borne their fair proportion of the expense, and that some had exceeded their share. So far all was clear. Although Canada had been conquered mainly for the colonies, still the conquest added to the security and glory of the empire, and the accounts for past expenditures were squared. But what of the future? As these possessions had been acquired, a stable government was needed for them, both for the safety of the colonies and for the honor of England. They were still inhabited by Indians under French influence, and they might become dangerous unless controlled by military power. Choiseul, the great French minister, informed by the reports of his secret agent, foresaw the complications likely to arise in the government of the colonies, and was not without hope of retrieving by diplomacy the losses which had occurred from war. Forts and garrisons were necessary. Although the Northern colonies were comparatively secure, the Carolinas and Georgia were menaced by powerful and hostile tribes. The government must regard the colonies as a unit, of which all parts were entitled to imperial protection. To this view of the case there could be no sound objection. Twenty thousand troops,—Pitt thought more would be needed,—besides civil officers to regulate such affairs as did not fall within colonial jurisdictions, were to be sent to the colonies. At whose expense ought these military and civil forces to be maintained? The British farmer objected to pay for the protection of his untaxed colonial competitor in the British market. If the colonies were to continue to be governed in the interest of the mercantile classes, upon them might reasonably fall the expense of their[17] protection. But the acquisition of vast territories required a new policy, and it was deemed equitable that they should be defended at the expense of the empire of which the colonies were a part. They had claimed and received imperial protection, and they ought to bear a proportional part of the cost, which might be collected under the imperial authority with the same certainty and promptness as were taxes on other subjects of the king. This was the ministerial view of the matter as I gather it from the debates in Parliament.
This claim of the ministry was met by the liberal party on both sides of the water in two ways. It was asserted that the late war, and in fact all the wars which affected the colonies, had been waged in the interest of commerce and for the aggrandizement of the realm of which they were no part, and that the newly acquired territories were of doubtful advantage to colonies as yet sparsely populated. But if these considerations were not conclusive, still the colonists ought not to be taxed, because the imperial government by monopolizing their trade received far more than the colonial share of the expense attending their defence. The liberals also asserted that there was no disposition on the part of the colonists to seek exemption from a reasonable share of these imperial expenses; but as in the past they had voluntarily contributed their part, and in some cases even more, so they would in the future; and that in the future, as in the past, these contributions ought to be voluntary, and the frequency and amount to be determined by the provincial assemblies. Moreover, as the colonists neither had, nor could have, any equitable or efficient representation in the imperial Parliament, they could not consent to have their property taken from them by representatives not chosen by themselves.
The ministry and their adherents replied that the foregoing arguments, even if sound, were such as no party charged with the administration of affairs, and obliged to raise a certain amount of money from a people clamorous for relief from present taxes, could accept; that no reliance could be placed on voluntary contributions; that the necessities of government required that money should be raised by some system which would act with regularity and certainty, and reach the unwilling as well as the willing; that even in the last war, when the existence of the English colonies was threatened by a foe moving with celerity by reason of its unity, the movements of English troops had been delayed by the backwardness of the colonies in furnishing their quotas; and now that the pressure of the French power was removed from New England, that section would leave the Middle and Southern colonies to their own resources, especially when it was remembered how remiss those colonies had been in assisting the north and east when attacked.[40] It was also answered that so far from the monopoly[18] of the colonial trade being a set-off to the expenses incurred by the mother country in defending the colonies, the fact was notorious that by the evasion of the navigation laws and acts of trade the colonists had escaped the restrictions intended by those laws, and at the same time had received bounties and drawbacks from the British Exchequer which enabled them to undersell the British merchants in the markets of Europe.
Here was a deadlock. The arguments on both sides seemed conclusive. No practical solution of the difficulty was proposed at the time, nor has been since. Both parties were firm in their convictions. Neither could yield without the surrender of essential rights. A conflict was unavoidable unless one party would relinquish the authority claimed by the imperial government; unavoidable unless the colonies, essentially free by growth, development, and distance, would yield to pretensions incompatible with their rights as British subjects. The new policy contemplated after the treaty of Aix-la-Chapelle in 1748 was carried into effect after the treaty of Paris in 1763. But nothing could have been more unfortunate than the time at which Great Britain inaugurated this policy, and no ministers than those by whom it was to be carried out. On essential political questions which divided the colonists and the mother country Great Britain herself was in the midst of a revolution. The new policy which was inaugurated fell into the hands of those opposed to it. Whig ministers were charged with the execution of an illiberal and reactionary scheme. Consequently, the administration of American affairs was weak and vacillating. The result was inevitable. Had Pitt, with his large views and great administrative abilities, been at the head of affairs for ten years after the peace, the Revolution might have been postponed. On the other hand, had the mercantile system during the same period been administered with the unity of purpose and thoroughness of measures which characterized Carleton's administration in Canada, and had it been enforced by the military genius of Clive, the rebellion might have been temporarily suppressed.
In the journals and statutes of the provincial assemblies we find from the beginning a similarity of causes leading to the final rupture. There are the same quarrels about the royal prerogative; the same repugnance to the navigation laws and acts of trade; the same unwillingness to make permanent provision for the support of the royal governors and judges, and the same restiveness under interference with their internal affairs; but owing either to differences in their original constitutions or of interests, commercial and agricultural, or because of varied nationality and religion, or by reason of all these causes combined, discontent was less general in the Southern than in the Northern colonies. Of the Northern colonies, in Massachusetts we find the causes which brought on the war operative and continuous from the beginning. Party strife between friends and opponents of prerogative existed in other colonies, but in Massachusetts the conflict broke out with special virulence between the adherents of Otis and those of Hutchinson. It was also intensified by the pecuniary interests[19] of a large part of the inhabitants of Boston, which were affected by the enforcement of the navigation laws through the aid of writs of assistance. It was for this enforcement that Hutchinson was held responsible when the mob sacked his house, and were ready to do violence to his person.
The province had received from the British Exchequer more than £60,000 sterling for the war expenses of 1759, and nearly £43,000 for those of 1761. Money was plentiful, and more was expected from the same source. There was a lull in the angry storm of local politics when news of the preliminaries of peace reached Boston in January, 1763. With this came assurances that Parliament would reimburse the colonies for expenses incurred, beyond their proportion, in the last year of the war; and the two Houses of the General Court agreed upon an address expressing gratitude to the king for protection against the French power, and full of loyalty and duty. But quiet was not of long continuance. The close of the war dried up several sources of profitable trade or adventure,[41]—some legal, such as furnishing supplies to the king's forces, and some illicit. Then came orders from the Board of Trade to enforce the navigation laws, heretofore chiefly evaded, but now to be enforced with the aid of writs of assistance. At the same time plans were entertained by the cabinet for making changes in the constitutions of the colonies; and what was hardly less opportune, the English bishops incessantly pressed upon the ministry the adoption of archbishop Secker's scheme of introducing an episcopal hierarchy into America, which would have carried with it some of the worst features of the prerogative.[42] The history of the period from the treaty of 1763 to the meeting of the Continental Congress at Philadelphia in 1774 is a narrative of an attempt by the British ministry to enforce certain measures upon unwilling colonists, and of the resistance of the colonists to those measures. Who were the ministers, what were their measures, and how did the colonists resist them?
Pitt had carried the country through a long and glorious war; but he was not satisfied with the results. The cost had been heavy, and as a guaranty against future expense he meditated the substantial annihilation of the French power. He knew that France and Spain had entered into the Family Compact with a view to a war with England. War with Spain was only a question of time, and he would have anticipated its declaration by seizing the immense treasure belonging to that power, then on the sea. This would have replenished the British Exchequer, and perhaps have deferred a resort to American taxation. Pitt urged this measure at a cabinet meeting, September 18, 1761. His advice was not followed, and he resigned October 5. But war was declared against Spain, January 1, 1762, and carried on with brilliant results, though the golden opportunity of securing the Spanish treasure was lost. The preliminaries of peace were signed at[20] Fontainebleau, November 3, 1763.
GEORGE III.
(From Andrews's Hist. of the War, London, 1785, vol. i. It follows a painting by Reynolds. Cf. cut in Murray's History, vol. i.—Ed.)
This virtually ended Pitt's connection with the ministry and with the conduct of American affairs as a leader; for although he was again at the head of the ministry from August 2, 1766, to October, 1768, his direction was merely nominal. It was during his administration that the Townshend Acts were passed, and the Mutiny Act extended to the colonies,—facts which show divided counsels and the lack of uniform purpose. Pitt seldom appeared in the ministry except to oppose his own government. Whenever his great powers were most needed by sore-pressed colleagues to devise some practicable policy for replenishing[21] the Exchequer, or for governing the colonies, he was in the country wrestling with the gout. This was a serious loss to the mother country, but it hastened the independence of America.
LORD NORTH.
From Doyle's Official Baronage, ii. 89. It follows Dance's picture. Cf. J. C. Smith's Brit. Mez. Portraits, i. p. 135; Gay's Pop. Hist. U. S., iii. 365; Walpole's Last Journals.—Ed.
The terms of peace with France were settled by Bute and Bedford, against the views of Pitt; but on April 16, 1763, Bute retired from the ministry, before the new policy for the government of the colonies had been fully developed. He was succeeded by George Grenville, who continued at the head of the government until July, 1765. Grenville was able, well informed, and thoroughly honest. His knowledge of financial matters was extensive and accurate, and, as Chancellor of the Exchequer during the preceding administration, he had become familiar with the difficulties of providing for the expenses of government. No question could have been more perplexing at this time. A certain amount of revenue was required to meet the interest on the public debt, and to defray current expenses. Economic theories of commercial policy would not serve as an item in the budget. The minister needed the money, and the Stamp Act was framed and passed. He also encountered other difficulties when public sentiment had become inflamed by the question of General Warrants. His relations to the king were unfriendly. Pitt threw his influence into the scale of the opposition, and Grenville's administration was a failure.
The Rockingham ministry began July 13, 1765, and ended August 2, 1766. The colonists themselves could hardly have chosen one more to their mind. It was weak and vacillating. It repealed the Stamp Act, and passed the Declaratory Bill. To Dowdswell, the Chancellor of the Exchequer, the Massachusetts House voted their thanks. Then came the Chatham-Grafton ministry, which was in power until December 31, 1769. This was nominally Pitt's ministry; but his elevation to the peerage impaired his influence with the people, and after nine months he retired from public affairs by reason of ill health. Men of such opposite views and character as Shelburne, Hillsborough, Charles Townshend, and Lord North were of this ministry.
Lord North was premier from February 10, 1770, to September 6, 1780. Long after he wished to retire he continued to hold power at the personal[22] solicitation, and even by the command, of the king. He was able, faithful, and patriotic; but his heart was not in the work of subduing the colonies, nor could he pilot the ship of state through dangerous seas.
Such were the ministers at one of the most critical periods in English history. No first-class man is to be found among them save Pitt, and his real attitude was that of opposition. He raised the storm, but when his hand ought to have been on the helm he was prostrate in the cabin.
Nor were the governors of Massachusetts, during a period when affairs needed a firm hand, although worthy gentlemen, altogether such as a far-seeing ministry would have chosen to carry out the new policy. Shirley was the only governor of Massachusetts who possessed the favor of the people; and yet he believed in the king's prerogative, and valued himself highly as its representative. He endeavored to suppress illicit trade and to enforce the navigation laws; and from his conferences with Franklin, it is certain that he contemplated some radical changes in the constitutions of the colonies.[43] But he got more money from the people for public uses than any previous governor, and even persuaded them to pass a provincial stamp act.[44] The secret of Shirley's influence may have been that he was less eager to secure his own salary than some of his predecessors had shown themselves to be, and that he had displayed unequalled activity in conducting the French war, which engaged the attention of the people. Pownall, who succeeded Shirley, belonged to the popular party. He gave no particular attention to the navigation laws, and was on the opposite side from Hutchinson, who was lieutenant-governor during the latter part of his term, which closed in 1760.
After Pownall came Bernard, and with him the beginning of the Revolution. Bernard was not without ability, accomplishments, and good intentions; but he was a Tory. More firmly even than Shirley, he believed in the royal prerogatives, and in some modification of the provincial charters to bring their action into harmony with the imperial system. During his administration, and in some cases at his suggestion, the ministry entered upon that series of measures which lost the colonies to Great Britain: the enforcement of the navigation laws; the use of writs of assistance; Grenville's revenue acts in 1764; the Stamp Act of 1765; the Townshend duties of 1767; and the arrival of military forces in 1768.
The purposes contemplated by these successive administrations were not unreasonable, nor were the measures by which they sought to accomplish them unwise in themselves. The general policy was the same as that afterwards pursued by the colonies when they had become a great empire,—homogeneity, equal contributions to expenses, a preference for their own shipping, and protection to their own industries.
The difficulty arose from a misconception of the relations of the colonies to the mother country. They were not a part of the realm, and could neither equally share its privileges nor justly bear its burdens. The attempt[23] to bring them within imperial legislation failed, and could only fail. They were colonies; and the chief benefit the parent state could legitimately derive from them was the trade which would flow naturally to Great Britain by reason of the political connection, and would increase with the prosperity of the colonies.
Early in 1763 the Bute ministry, of which George Grenville and Charles Townshend were members, entered upon the new policy. To enforce the navigation laws, armed cutters cruised about the British coast and along the American shores; their officers, for the first time, and much to their disgust, being required to act as revenue officers. To give unity to their efforts, an admiral was stationed on the coast. To adjudicate upon seizures of contraband goods, and other offences against the revenue, a vice-admiralty court, with enlarged jurisdiction, and sitting without juries, was set up.[45] Royal governors, hitherto chiefly occupied with domestic administration, were now obliged to watch the commerce of an empire. It was seen long before this time that the successful administration of the new system would require some modification of the provincial charters; but the difficulties were so serious that the matter was deferred.
Such was the new order of things. The student who reflects upon the complete and radical change effected or threatened by these new measures, so much at variance with the habits and customary rights of the colonists, breaking up without notice not only illicit but legitimate trade, and sweeping away their commercial prosperity, is no longer at loss to account for the outburst of wrath which followed the Stamp Act, a year later.[46] To avert these hostile proceedings, the colonists memorialized the king and Parliament. They employed resident agents to act in their behalf. They availed themselves of party divisions and animosities in England. They alarmed British merchants by non-importation and self-denying agreements. When these measures seemed likely to prove ineffectual, they aroused public sentiment through the press, by public gatherings and legislative resolutions, by committees of correspondence between towns and colonies, and finally by continental congresses. They did not scruple to avail themselves of popular violence, nor, in the last extremity, of armed resistance to British authority.
So far as trade and commerce were concerned, it was a struggle between British and colonial merchants. The colonial merchants desired freedom of commerce; the British merchant desired its monopoly. But this does not state the case precisely; for the colonial merchants were desirous of retaining what they possessed rather than of acquiring something new. By the navigation laws the British merchant had a legal monopoly of certain specified trades; but by evading these laws, the colonial merchants had gained a large part of this trade for themselves. One party, standing[24] on legal rights, wished to recover this lost trade; the other party, basing their claim on natural equity and long enjoyment, wished to retain it. This was an old question, a hundred years old; but it had acquired new interest since the government, with the aid of writs of assistance, had undertaken to enforce the navigation laws and acts of trade. Such was the first issue between the parties. The second was this, and it was new: As has been said, Great Britain had never undertaken to raise a revenue from the colonies, though she had often contemplated doing so, and especially during the French war just closed. At the close of the war it was estimated that £300,000 would be required to man the forts about to be vacated by the French, and to maintain twenty regiments to hold the Indians in check, who were still under French influence and might become dangerous, as happened in Pontiac's time; and to give efficiency to civil administration by granting to governors, judges, and some other officers fixed and regular salaries, instead of having them depend on irregular and fluctuating grants of colonial assemblies. One third of these expenses—£100,000—the ministry proposed to raise by laying duties on importations, reserving a direct tax by stamps for fuller consideration.
The colonists met this proposition by denying both the necessity and the right of raising a revenue,—at first distinguishing between external and internal taxes, and finally objecting to all taxes raised by a Parliament in which they neither were nor practically could be represented. These issues were complicated with several others of long standing, but which may be left out of the account here.
The popular idea has been that the Revolution began with the Stamp Act. But it seems strange that prosperous colonists, in whose behalf the British people had expended £60,000,000 sterling, should refuse to pay £100,000, one third of the sum deemed necessary for their future defence, and that months before they were called upon to raise the first penny they should fall into a paroxysm of rage, from one end of the continent to the other, and commit disgraceful acts of violence upon property and against persons of the most estimable character.
This view, however, overlooks several facts. If we disregard the chronic quarrels in all the colonies, growing out of the exercise of the royal prerogatives, Virginia and Massachusetts especially had been aroused on the abstract questions concerning the relations of the colonies to Great Britain, and in them the earliest demonstrations of hostility to the Stamp Act were manifested. In the famous "Parsons Case" argued by Patrick Henry in December, 1763, in words which rang through Virginia because they affected every man in that colony, he drew the prerogative into question, not only in regard to the ecclesiastical supremacy of the Anglican hierarchy, but also on the right of the king to negative the "Two-penny Act" of the colonial assembly. In Massachusetts, James Otis, in 1761, arguing the writs of assistance, assumed the natural rights of the colonists to absolute independence. But the promulgation of none of these theories of abstract rights accounts[25] for the general outbreak in 1765. Its most potent influence was the enforcement of the navigation acts in the great commercial centres, and the ruin threatening New England through the breaking up of her trade with the French West Indies and the Spanish Main[47] by the modification of the Sugar Act in 1764. The staples of New England were fish, cattle, and lumber. The better quality of fish found a market in Europe, but this trade was subject to competition. For the poorer quality the chief market was in the French West Indies, where by the French law it could be exchanged only for molasses. This was shipped to New England, and used not only in its raw state, but distilled into rum, which, besides supplying home consumption, was to some extent exported to Africa in exchange for slaves. This trade and commerce with the Spanish Main was the chief source of the wealth of New England. But in 1733, to protect the sugar industry of the English West India islands, a duty amounting to prohibition was laid on all sugar and molasses imported into the American colonies from the French islands. So long as this act was not enforced, it did little harm; but if enforced, it would not only ruin the trade in rum and lumber, but injure the fisheries also, for the English islands were limited in population and had no liking for poor fish. The French, besides being more numerous, were less particular as to their diet; but if they could not sell molasses, they would not buy fish. It was proposed to modify and enforce this act. Minot[48] says: "The business of the fishery, which, it was alleged, would be broken up by the act, was at this time estimated in Massachusetts at £164,000 sterling per annum; the vessels employed in it, which would be nearly useless, at £100,000; the provisions used in it, the casks for packing fish, and other articles, at £22,700 and upwards; to all which there was to be added the loss of the advantage of sending lumber, horses, provisions, and other commodities to the foreign plantations as cargoes, the vessels employed to carry fish to Spain and Portugal, the dismissing of 5000 seamen from their employment, the effects of the annihilation of the fishery upon the trade of the province and of the mother country in general, and its accumulative evils by increasing the rival fisheries of France. This was forcibly urged as it respected the means of remittances to England for goods imported into the province, which had been made in specie to the amount of £150,000 sterling, beside £90,000 in the treasurer's bills for the reimbursement money, within the last eighteen months. The sources for obtaining this money were through foreign countries by the means of the fishery, and would be cut off with the trade to their plantations." This was what the enforcement of the molasses act meant. Neither the duties laid in 1764 nor the collection of the taxes anticipated from the Stamp Act[26] of 1765 would have produced a tithe of the evil that would have followed. John Adams,[49] confirming the statement of Minot, says: "The strongest apprehensions arose from the publication of the orders for the strict execution of the molasses act, which is said to have caused a greater alarm in the country than the taking of Fort William Henry did in the year 1757."[50] Rumors of the intention of the ministry had been rife for some time, and in January, 1764, the Massachusetts Assembly wrote to their agent in London that the officers of the customs, in pursuance of orders from the Lords of the Treasury, had lately given public notice that the act, in all its parts, would be carried into execution, and that the consequences would be ruinous to the trade of the province, hurtful to all the colonies, and greatly prejudicial to the mother country.[51]
Besides the rumors of the modification of the Sugar Act came others respecting new duties, and a Stamp Act. In its alarm, the General Court determined to send Hutchinson to London as special agent, to prevent, if possible, the intended legislation. He was in favor of allowing the colonies the freest trade, but acknowledged the supremacy of Parliament.[52] No man knew the colonies better, or was better able to present their just claims, than Hutchinson. He had much at stake in the colony in which he was born, and to which he had rendered many and honorable services. No man loved her better, or was more worthy of honor from her. He was chosen by both Houses; but Governor Bernard suggested doubts as to the expediency of his going to England without the special leave of the king; and subsequently the project was laid aside in consequence of some rising suspicions as to his political sentiments.[53]
Ruin threatened New England. A Stamp Act was not needed to set her aflame; and the other colonies soon had reasons of their own for joining her in the general opposition. All parties were agreed as to the danger, but they differed as to the remedy.
The reports which reached America in the winter of 1764, respecting the intentions of the ministry to raise a revenue from the colonies, were[27] verified in the following spring. The substance of Grenville's resolutions (with the exception of that respecting stamps, which was laid aside for the present) became a law April 6, 1764. Bancroft has summarized this act as "a bill modifying and perpetuating the act of 1733, with some changes to the disadvantage of the colonies; an extension of the navigation acts, making England the storehouse of Asiatic as well as of European supplies; a diminution of drawbacks on foreign articles exported to America; imposts in America, especially on wines; a revenue duty instead of a prohibitory duty on foreign molasses; an increased duty on sugar; various regulations to restrain English manufactures, as well as to enforce more diligently acts of trade; a prohibition of all trade between America and St. Pierre and Miquelon."[54]
Organized opposition to the ministerial measures began in Boston, and perhaps, at that time, could have begun nowhere else. For not only were the interests of that town, in the fisheries, trade, and navigation, the most considerable in the colonies, but there, as nowhere else in the same degree, for more than a century, had been operative causes of dissatisfaction connected with the navigation acts, the exercise of the royal prerogatives, and ecclesiastical affairs; and in no other section had Otis's declaration of the general principles of liberty found such ready acceptance.
The Grenville Act of April, 1764, was to take effect September 30. News of its passage had scarcely arrived in Boston before the citizens in town meeting, May 24, voted instructions[55] to their representatives in the General Court, which had been presented by Samuel Adams. They were directed to endeavor to prevent proceedings designed to curtail their trade, and to impose new taxes,—"for if their trade might be taxed, why not their lands?"—and to obtain from the General Assembly all needed advice and instruction, so that their agent in London might effectually "demonstrate for them all those rights and privileges which justly belonged to them either by charter or birth." Since the other colonies were equally interested, their representatives were also to endeavor to obtain coöperation in that direction.
Thus at the very outset the patriots sought counsel and union with the sister colonies. These instructions were scattered far and wide. The General Court came in on the 30th. June 1, letters from the London agent were referred to a committee of which Otis was one. On the 8th,[28] The Rights of the British Colonies was read,[56] and again on the 12th, when it was referred to the committee of which Otis was a member.[57] On the 13th a letter to Mauduit, their agent, was reported, which must have made his ears tingle,[58] for it was a scathing rebuke for neglect and inefficiency in not preventing the injurious legislation, and for making unwarranted concessions in behalf of the colony.[59] Otis went over the whole question of colonial rights and grievances, but by implication he admitted that representation in Parliament would prove satisfactory.[60] The same committee was directed to correspond with the other governments, requesting coöperation in their endeavors to effect the repeal of the Sugar Act and to prevent the Stamp Act. The letter of the committee, drawn by Otis, together with his Rights of the Colonies, was sent to the agent in London, to make the best use of them in his power. As this action taken by the House of Representatives, which did not seek the concurrence of the Council as usual, was not regarded as judicious by the moderate party, the governor was induced to call the General Court together on the 12th of October. In the mean time the temper of the merchants had become soured by revenue seizures to the amount of £3,000.[61]
The General Court (November 3), in answer to the governor's speech, elaborately discussed the act of Parliament, and the same day agreed upon a petition to the House of Commons, setting forth the injurious nature of the new measures and of the navigation laws, as well as deprecating their enforcement. This was accompanied by a letter to their agent, showing historically the services and expenses of the colony in various wars, and their willingness to share in the defence of the empire.[62] These papers—the petition and the letter—were drawn up by Hutchinson; but though able, candid, and convincing, their tone did not satisfy the more ardent patriots, especially when they were contrasted with Otis's fiery letter to the agent in June, or when compared with similar documents emanating from some other colonies,—that of New York in particular: for the discontent of the colonies, to which the Boston instructions doubtless contributed, was general, and manifested itself in petitions, remonstrances, and correspondence.[63]
The events of 1764 left no doubt as to the manner in which the people would receive the Stamp Act of 1765; nor, although with grievances of their own, were they unobservant of what was going on in England. "Wilkes and Liberty" was a familiar cry in Boston as well as in London, and the names Whig and Tory became terms of reproach.[64]
Notwithstanding the memorials and petitions of the colonial assemblies, and the remonstrances of their agents in London, George Grenville persevered in his determination to bring in a stamp bill. Since its first suggestion, he had listened patiently to the colony agents and other friends of America; but they proposed nothing better, or so good, if the colonies were to be taxed at all. They admitted that the stamp tax would be inexpensive in its collection, and general in its effect upon different classes of people. Indeed, so little did the agents understand the real feeling in America that they—and Franklin was among them—were quite ready, when the time came, to solicit positions as stamp-distributors for their friends, and Richard Henry Lee even asked a place for himself.[65] February 6, 1765, Grenville introduced his resolutions for a Stamp Act, and put forward his plan in a carefully prepared speech. Colonel Barré's opposition called forth the well-known question of Charles Townshend, and the still more famous rejoinder of the former. Pitt was away and ill. The debate occupied but one session of the Commons, and the ministers were directed to bring in a bill, which was done on the 13th. Numerous petitions against it, presented by colonial agents, were rejected under the rule which allowed no petition against a money bill. The bill passed both Houses, and on March 22 received the royal assent. But in America there was no apathy. If there had been a calm, it presaged the coming storm. The passage of the bill was known in America before the end of May, and from Virginia came the first legislative response. She spoke through the voice of her great orator. Of Patrick Henry's six resolutions, though supported by a powerful speech, only four, however, were carried, May 30, by a small majority, in a House in which the Established Church and the old aristocracy were very powerful.[66]
The General Court of Massachusetts did not meet until May 27, but set to work so promptly that the House, June 6, under the lead of James Otis, who had recovered from a fit of vacillation, voted that it was highly expedient that there should be a meeting, as soon as might be, of committees from the several colonial assemblies, "to consult together on the present circumstances of the colonies, and the difficulties to which they are and must be reduced by operation of the late acts of Parliament for levying duties and taxes on the colonies." It was agreed to send them a circular letter to that effect, recommending a congress, in the city of New York, the first Tuesday of October. This measure, which led to the Stamp Act Congress, was pushed through with an unanimous vote of the House (June 6), though probably not with the equally concordant opinion of the members; and the circular, which was dated June 8, was immediately[30] dispatched.[67] James Otis, Oliver Partridge, and Timothy Ruggles—the last two having little heart in the matter—were chosen delegates. The response to the Massachusetts circular was neither unanimous, nor, from some of the assemblies, enthusiastic.[68] At this stage of the Revolution, in high offices and in provincial assemblies were friends of the royal government able to make their influence felt in opposition to popular measures. Nine of the colonies, however, were represented in the congress, and from others came expressions of good-will. In the mean time public sentiment was rapidly shaping itself into violent opposition to the act. In Boston the Sons of Liberty were on the alert. When the name of Andrew Oliver appeared among the stamp-distributors he was hanged in effigy from the Liberty Tree on the night of the 13th of August; and the next night the frame of a building going up on his land, and supposed to be intended as a stamp-office, was broken in pieces and used to consume the effigy before his own door.[69] On the 26th of the same month the records of the hated Vice-Admiralty Court were burned by the mob, the house of the comptroller of the customs sacked, and that of Chief Justice Hutchinson forcibly entered and left in ruins. His plate and money were carried off, and his books and valuable manuscripts were thrown into the streets. Nor did he or his family escape without difficulty. The militia were not called out to maintain order, for many of the privates were in the mob. Men of standing secretly connived at proceedings which they afterwards insincerely condemned. Though these violent outbreaks came earlier and were carried to greater excess in Massachusetts than in any other province, similar demonstrations followed in Rhode Island, Connecticut, New York, and Pennsylvania.[70]
When the Stamp Act Congress met in New York, October 7, 1765, that city was the headquarters of the British forces in America, under the command of General Gage. Lieutenant-Governor Colden, then filling the executive chair, was in favor of the act, and resolved to execute it; but the Sons of Liberty expressed different sentiments. The Congress contained men some of whom became celebrated. Timothy Ruggles was chosen speaker, but Otis was the leading spirit. In full accord with him were the Livingstons of New York, Dickinson of Pennsylvania, McKean and Rodney of Delaware, Tilghman of Maryland, and Rutledge and the elder Lynch of South Carolina. New Hampshire, Virginia, North Carolina, and Georgia failed to send delegates, but not for lack of interest in the cause. The Congress prepared a Declaration of Rights and Grievances, An Address to the King, a Memorial to the House of Lords, and a Petition to the House of Commons, and adjourned on October 25th. For a clear, accurate, and calm statement of the position of the colonies these papers were never surpassed;[31] nor, until the appearance of the Declaration of Independence, was any advance made from the ground taken in them.[71]
It is not to be inferred from the results of their proceedings that there were no differences of opinion among the delegates. Several of them afterwards took sides with the king; and there was doubtless diversity of sentiment on the Stamp Act, as well as in Parliament, which reassembled January 14, 1766, under a different ministry from that which had carried the measure less than a year before. For in a few months after the passage of the act, George III., chiefly on personal grounds, had changed his legal advisers. After negotiations with Pitt had failed, a new ministry, with the Marquis of Rockingham as chief, and the Duke of Grafton and General Conway as Secretaries of State, was installed, July 13, 1765. It was a Whig ministry. With it, though not of it, was associated Edmund Burke, private secretary of Rockingham, and not long after, through his influence, a member of the House of Commons. This change of the ministry was regarded with favor by the colonists, and doubtless encouraged their resistance to the Stamp Act. The action of the colonists produced a great effect on the new ministry, and alarmed the British merchants trading with America. Their trade had been threatened by non-importation agreements made to take effect January 1, 1766, and their debts were imperilled by the determination of the colonists to withhold the amount of them as pledges for good conduct. The general confusion likely to arise in the administration of justice, and the transactions of the custom-house, from want of stamps, brought the ministry to their wits' end. Parliament assembled December 17th. But notwithstanding an effort by Grenville to bring on a general consideration of American affairs, the subject was postponed until after the holidays.
ROCKINGHAM.
From Doyle's Official Baronage, iii. 170.—Ed.
In the mean time some embarrassment was anticipated from the want of stamps, November 1,[72] when the act was to go into operation. Governor Bernard (September 25) had called the attention of the House of Representatives to the courts, which guarded the property and persons of the inhabitants, and to the custom-houses, upon which depended legal trade and navigation. The House, in its answer, October 23, had not shared his excellency's apprehensions, but was not then quite ready to say, as it said three months later (January 17, 1766), "The courts of justice must be open,—open immediately,—and the law, the great rule of right in every[32] county of the province, executed."[73] But this attitude had not been taken without intermediate steps. In December the town of Boston presented a petition to the governor and council for the reopening of the courts, which was supported by John Adams, who then first publicly identified himself with the patriot cause, of which he became one of the most efficient advocates. After some delay and inconvenience, the courts and custom-houses throughout the colonies, early in the spring, took the risk of proceeding without stamped papers, trusting to find their justification in necessity.
Parliament reassembled January 14, 1766. The king's speech opened with a reference to "affairs in America, and Mr. Secretary Conway laid before the House of Commons important letters and papers on the same subject." On the 17th a petition of the merchants of London trading with North America against the Stamp Act was presented. Then (January 28) followed the examination of Franklin, in relation to the Stamp Act, before the House, in committee.[74] With this mass of information before them, American affairs received an exhaustive discussion. The Stamp Act was repealed, and the royal assent was given March 18th. The debates on the Declaratory Act were no less full. It was a memorable session,—memorable for the first speech of Burke; for those great speeches of Pitt which placed him at the head of modern orators, for Grenville's masterly defence of his colonial policy, and for Franklin's examination. It was also memorable for the constitutional discussions of Mansfield and Camden in the House of Lords. If the reader finds it difficult to resist Mansfield's judicial interpretation of the British Constitution adverse to the American claim, he recognizes in the great principles then enunciated the force which popularized that Constitution and marked a forward movement of the British race.
The Declaratory Act—that the king, with the advice of Parliament, had full power to make laws binding America in all cases whatsoever—was passed. This gave Pitt some trouble, considering his emphatic declaration in that regard; but the liberal party in the colonies soon met it with the counter-affirmation that Parliament possessed no authority whatever in America except by consent of the provincial assemblies. If the colonists had not forced the British government from its position, they had advanced from their own. The repeal, however, caused great rejoicing on both sides of the Atlantic. British merchants expected no further trouble from non-importation agreements, and hoped that the colonists would now pay their debts,—amounting to £4,000,000. But there were misgivings on both sides. The ardent patriots were outspoken in condemning the Declaratory Act, which Franklin had thought would give no trouble. But the act of 1764, laying duties, remained; and the enforcement of the navigation laws—their real grievance—lost none of its vigor. Governor Bernard was under instructions to enforce the laws against illicit trade; and in addition to these official obligations, his share in the forfeitures of condemned goods laid his motives open to suspicion. Nothing could have been more unfortunate for his administration. It was also alleged that merchants were encouraged in schemes to defraud the revenue; and that when their ships and cargoes were compromised, they were seized and condemned. At a time when conciliatory measures were needed to reassure the colonists, the harshest were followed. Nevertheless, the repeal weakened the prerogative party on both sides of the water, and encouraged the liberal party by a knowledge of its power.
Fac-simile of an original in the library of the Mass. Hist. Society.—Ed.
Governor Bernard opened the General Court, May 29, 1766, with congratulations on the repeal of the Stamp Act. If he had stopped there he would have acted wisely; but he alluded to the "fury of the people" in their treatment of Hutchinson, and to some personal matters, which called forth a reply from the House couched in terms showing no abatement of animosity. This was increased on the receipt of another message from the governor (June 3), enclosing the Act of Repeal and the Declaratory Act, and at the same time informing them that he had been directed by Secretary Conway to recommend "that full and ample compensation be made to the late sufferers by the madness of the people", agreeably to the votes of the House of Commons. He also complained of their exclusion of the principal crown officers from the Council by non-election.[75] The General Court promptly availed themselves of this last topic for reply, instead of committing themselves on the matter of compensation. They did not fail, however, to vote a politic address of thanks to the king for assenting to the repeal of the Stamp Act, and to offer their grateful acknowledgments to Pitt and those members of the two Houses who had advocated it.[76] But the subject of compensation could not be passed by. The governor urged prompt compliance with the recommendation of Conway. The House, however, professing the greatest abhorrence of the madness and barbarity of the rioters, and promising their endeavors "to bring the perpetrators of so horrid a fact to exemplary justice, and, if it be in their power, to a pecuniary restitution of all damages", regarded compensation by the province as not an act of justice, but rather of generosity, and wished to consult their constituents. Therefore they referred the matter to the next session.[77]
In December the two Houses passed a bill granting compensation to those who had suffered losses in the Stamp Act riots, but, on the suggestion of Joseph Hawley, accompanied it with a general pardon, indemnity and oblivion to the offenders. Why they should have been so solicitous for the safety of those who had committed crimes, condemned in June in the severest terms, does not appear; and this invasion of the royal prerogative of pardon did not fail to attract the attention of the Parliament.[78]
In the late contest with Parliament the colonists had gained a victory, but it was neither final nor precisely on the right ground. As a matter of practical politics, they were ready to accept Pitt's distinction between commercial regulations and internal taxes. They took the repeal of the Stamp Act with thanks, but not as a finality. They participated in the lively demonstrations of joy which followed that event on both sides of the Atlantic; but thoughtful observers on both sides perceived that one of the most powerful agencies in effecting the repeal was the mercantile class, which had no intention of relinquishing its grasp upon colonial commerce. Nor was the popular feeling without guidance. It was the good fortune of the colonists, all through the long contest, to have statesmen like John Adams, Jay, and Dickinson, who could supplement the passionate appeals of Otis and some of his associates with the calm reasons of political philosophy. None rendered more valuable services in this respect than John Adams. In a series of papers which appeared in the Boston Gazette in the summer and fall of 1765,—when the minds of the people were inflamed by the Stamp Act,—and were afterwards republished in London as A Dissertation on the Canon and Feudal Law, he combated the ecclesiastical and feudal principles which lay at the bottom of the monarchical and Anglican system.
The substantial grievance of the commercial colonies was not the Stamp Act, which had not taken a farthing from their pockets. It was the enforcement of trade regulations, which impaired the value of the fisheries and dried up a principal source of revenue. A renewal of the contest, and for the first time on its true grounds, was not long postponed. The Rockingham ministry gave way, and Pitt, gazetted Earl of Chatham July 30, 1766, took the helm of state August 2d, and was the nominal head of the government until October, 1768. Among those associated with him were the Duke of Grafton, Charles Townshend, Conway, and the Earl of Shelburne. It was Pitt's misfortune—and his country's—during these stormy times, that when he was most needed he was disabled by sickness. Historians have speculated as to the probable pacification of America had Pitt—not Chatham—guided affairs.[79] Pitt's was a great name in America as well as in Europe. By his genius the French power in America had been destroyed. This the colonists knew. He had been generous in reimbursing their expenses in the late war. This, and his efforts in effecting the repeal of the Stamp Act, they remembered with gratitude. Whatever man could do in restoring things to their old order Pitt could have done. He might even have relinquished something of his claims for parliamentary supremacy in respect to trade and general legislation; but it is doubtful whether, even at that early period, he could have eradicated the ideas of independence which had taken possession of the colonists, or have arrested the movement which resulted in the independence of America and the overthrow of the royal prerogative in England.
JOHN ADAMS. (Amsterdam print.)
The Amsterdam edition, 1782, of Geschiedenis van het Geschil tusschen Groot-Britannie en Amerika ... door zijne Excellentie, den Heere John Adams.
There is a likeness of John Adams as a young man engraved in his Life and Works, vol. ii. He says of himself at the time of the famous scene when Otis was making his plea against the Writs of Assistance, and he was taking notes of it, that the artist depicting it would have to represent the young reporter as "looking like a short, thick Archbishop of Canterbury" (Works, x. 245). There was a print published in London in 1783 showing a head in a circle, which is reproduced in the Mag. of Amer. Hist., xi. 93. Copley painted him once, in 1783, in court dress, and the painting now hangs in Memorial Hall, Cambridge. The head of this full-length picture was engraved for Stockdale's edition of Adams's Defence of the Constitutions, published in 1794; and the painting was never engraved to show the entire figure till it appeared in vol. v. of the Works (A. T. Perkins's Copley, p. 27). Cf. the head in Bartlett Woodward's United States.
Stuart first painted him in 1812, and this picture belongs to his descendants, and is engraved in the Works, vol. i. There are copies of this picture by Gilbert Stuart Newton and B. Otis, both of which have been engraved. The Newton copy is in the Mass. Hist. Society (Catal. of Cabinet, no. 47; Proc., 1862, p. 3). The Otis copy has been engraved by J. B. Longacre (Sanderson's Signers, vol. viii.). Stuart again painted Adams in 1825, the year before he died, representing him as sitting at one end of a sofa. It is engraved on steel in the Works, vol. x., and on wood in the Mem. Hist. Boston, iii. 192. (Cf. Mason's Stuart, p. 125.) Another Stuart is owned by Mr. T. Jefferson Coolidge, of Boston.
A portrait by Col. John Trumbull also hangs in Memorial Hall, Cambridge; and Adams's likeness is also in Independence Hall. (Cf. Irving's Washington, quarto ed., vol. v.) A cabinet full-length by Winstanley, painted while Adams was at the Hague (1782), is in the Boston Museum (Johnston's Orig. Portraits of Washington, p. 93).
Among the contemporary popular engravings, mention may be made of that by Norman in the Boston Magazine, Feb., 1784; one in the European Magazine (vol. iv. 83).
Stuart also painted a portrait of the wife of John Adams, which is engraved in the Works, vol. ix. A picture of her by Blythe, at the age of twenty-one, accompanies the Familiar Letters.
Views of the Adams homestead in Quincy, Mass., are given in the Works (vol. i. p. 598); in Appleton's Journal (xii. 385); in Mrs. Lamb's Homes of America. An india-ink sketch, showing a distant view of Boston beyond the house, is in the halls of the Bostonian Society.—Ed.
The Massachusetts Assembly was in no amiable frame of mind. When there was no cause for quarrel, they made one. Bernard had probably been advised to preserve a prudent silence respecting political affairs. At the opening of the session, January 28, 1767, in a message of less than ten printed lines, he recommended "the support of the authority of the government, the maintenance of the honor of the province, and the promotion of the welfare of the people", as the chief objects for their consultation. This called forth a captious reply, and a complaint because Lieutenant-Governor Hutchinson, who had not been reëlected to the Council, appeared in the council-chamber at the opening of the session, at the request of the governor and as matter of courtesy. The House found in his presence, if voluntary, "a new and additional instance of ambition and lust of power."
AUTOGRAPH OF JOHN ADAMS, 1815.
Part of a letter in Smith and Watson's Hist. and Lit. Curios., 1st ser., pl. vii.—Ed.
In the spring of 1767, Parliament had occasion to inquire into some colonial legislation. In April, 1765, the Mutiny Act had been extended to the colonies. This was intended in part to provide for military offences not within the jurisdiction of civil courts, and in part to require the colonies in America, as in England in like cases, to provide for quartering the king's troops. The New York Assembly made only partial provision. When Sir Henry Moore, the governor, communicated to them the letter of Earl Shelburne, to the effect that the king expected obedience to the act, the Assembly resolved not to comply, and called in question the authority of Parliament. Parliament then took the matter in hand, and suspended their legislative authority until compliance.[80] This action brought them to terms. It made considerable stir throughout the colonies, and was regarded as a serious invasion of their rights.
The arrival of several companies of royal artillery at Boston, in the fall of 1766, and the quartering of them at the expense of the province, by order of the governor and council, gave the General Court occasion, at their session in January, 1767, to express their opinion about unauthorized expenditures of the public money, and to enquire if more troops were expected.[81] The governor explained the quartering of the troops, and said he had no expectation, except from common rumor, of the arrival of additional forces. But his statement failed to allay apprehensions of a design on the part of the ministry to support their measures by military power. Added to other causes of alarm in 1767 was a report that Anglican bishops were about to be supported in the colonies, at the expense and under the patronage of the British government.
In 1767 strife was renewed on what are known as the Townshend Acts. Charles Townshend was Chancellor of the Exchequer in the Chatham-Grafton ministry. He had reluctantly voted for the repeal of the Stamp Act, and still held to his opinions that the colonists should pay some share of the civil and military expenses arising from their defence and government; and if, to secure promptness and uniformity of action, some modification of their charters should be found necessary, then that ought to follow. In conformity with these views, he had given some pledges in respect to deriving a revenue from America, and, during Chatham's retirement,[39] had brought forward his scheme of taxation in certain resolutions of the Committee of Ways and Means, April 16, 1767,[82] the substance of which was enacted June 29th, to go into effect November 20th. There were two acts known as the Townshend Acts: the first[83] providing for the more effectual execution of the laws of trade, and for the appointment of commissioners for that purpose; and the second[84] granting duties on glass, paper, colors, and tea, and legalizing writs of assistance. The revenue thus raised was to be applied to "defraying the charge of the administration of justice, and the support of the civil government in such provinces where it should be found necessary; and towards further defraying the expenses of defending, protecting, and securing the said dominions." Before the act went into operation Charles Townshend died (September 4, 1767), and Chatham's powers continued to be enfeebled by disease. It was the misfortune of Great Britain that both these able men should have been withdrawn from the public service during this critical period, and that the policy of each had to be represented by inferior men. Chatham's conciliatory methods had no fair trial; and Townshend's coercive measures were pressed neither with unity of purpose nor vigor of execution.
Between the passage of Townshend's Acts in the summer of 1767 and their taking effect in November, the colonists had ample time to study and organize opposition, stimulated by the arrival (November 5, 1767) of Burch and Hulton, two of the five commissioners of customs who had been sent over to enforce them. At first the people expressed their resentment, in which, as usual, those of Boston took the lead, by renewing their non-importation agreements. In the mean time efforts had been made to introduce domestic manufactures.[85] These practical measures in Massachusetts were supplemented by one of the ablest discussions of colonial rights which had yet appeared. In the early winter of 1767-8 John Dickinson published in a Philadelphia newspaper a series of essays entitled The Farmer's Letters,[40] which soon attracted notice both in America and England.
From An impartial History of the War in America (Boston, 1781), vol. i. p. 325, engraved by J. Norman, a Boston engraver.
In 1772, when Adams was forty-nine, John Hancock commissioned Copley to paint pictures of Adams and himself, to commemorate their political union, and the two portraits hung for many years in the Hancock mansion on Beacon Street in Boston, before they were given to the town. That of Adams is a three-quarters length, and shows him standing at a table, holding a paper, in the attitude of speaking (Perkins's Copley, p. 28). As engraved by H. B. Hall, it is given in Wells's Life of Samuel Adams, vol. i.; and it is also engraved in Delaplaine's Repository (1815); in Bancroft, vol. vii. (orig. ed.), and in other places, as well as, on wood, in the Mem. Hist. of Boston (iii. 35). After having hung for some years in Faneuil Hall, it has now been transferred to the Art Museum. It was engraved—the bust only—by Paul Revere, for the Royal American Mag., April, 1774, and a reproduction of this is given by Wells (vol. ii.). A copy of the original was made by J. Mitchell, and from this a mezzotint by Samuel Okey was issued at Newport in 1775.
Another and smaller picture, also by Copley (Perkins, p. 29), and said to have been painted in 1770, hangs in Memorial Hall, Cambridge, and has been engraved in the Mem. Hist. of Boston, ii. 438. Cf. Sanderson's Signers, vol. ix.
The Copley type of head characterizes the engraving by J. Norman, given above from the Boston edition of a current history. The London edition (1780) of the same book has a picture which has little resemblance to the Copley type, as will be seen by the fac-simile likewise herewith given, and marked "London, 1780."
There was a picture made late in life by John Johnson, which has been destroyed; but from a mezzotint of it, made in 1797 by Graham, H. B. Hall reëngraved it for Wells's third volume, and on wood in Higginson's Larger History, p. 255.
The statue by Miss Whitney follows the Copley head. One copy of this is in the Capitol at Washington, and another in Dock Square, in Boston.—Ed.
Their influence among all classes was widespread and profound.
SAMUEL ADAMS, LONDON, 1780.
The year 1768 was one of the most momentous of the Revolutionary period. Hitherto the colonists, in defence of their property, had denied[42] the supremacy of Parliament as based on usurpation; but now, in defence of their privileges, they denied the prerogative of the king, the source of their political existence. This grew out of the Massachusetts Circular Letter. The General Court came together December 30, 1767. John Hancock, James Otis, and Joseph Hawley were prominent members, but though James Otis was still active, Samuel Adams was the master spirit. Never was his practical sagacity more serviceable to the cause; never did his genius for politics shine brighter. His fruitful pen is apparent in the remarkable series of state papers called forth by the Townshend Acts, comprising the letter of the House to their London agent (January 12, 1768), the Petition to the king (January 20), and the Circular Letter to the assemblies of the several colonies (February 11).[86] If the Townshend Acts were to be successfully resisted, union of sentiment and action among all the colonies was essential. This was the object of the circular letter. It was an arraignment of Parliament and the ministry in respect to the revenue acts, and the system by which the British government proposed to make civil officers, including the judges, the instruments for its enforcement; and it solicited an interchange of opinions on these subjects.[87] Governor Bernard watched the proceedings of the House with the deepest interest, nor was he long in doubt as to the nature of the circular letter, for two days after its adoption a copy of it was proffered, in case he desired it.[88] This letter was preceded (besides the documents already mentioned) by letters to the Marquis of Rockingham, General Conway, Lord Camden, and to the Lords Commissioners of the Treasury. The details of these papers cannot be given here. They present the whole case of the colonies, their rights, their grievances, their remonstrances, and their petitions. They proceeded mainly from the pen of Samuel Adams, who, when he had shaken himself clear from profuse professions of loyalty and disclaimers of "the most distant thoughts of independence", rose to the annunciation of the loftiest principles of statesmanship, in the declaration that "the supreme legislative, in any free country, derives its power from the constitution, by the fundamental rules of which it is bounded and circumscribed;"—"that it is the glory of the British Constitution that it hath its foundation in the law of God and nature;"—"that the necessity of rights and property is the great end of government;"—"that the colonists are natural-born subjects by the spirit of the law of nature and nations;" and "that the laws of God and nature were not made for politicians to alter." Nor does he confine himself to the enunciation of abstract principles, but states the rights of the colonists of Massachusetts on historical grounds, and shows the oppressive and impolitic nature of the acts[43] complained of.[89] Changes were taking place in the Grafton ministry which boded evil to the colonies. Shelburne, the most liberal friend of the Americans, was succeeded by Hillsborough in December, 1767, and Conway by Weymouth, January 20, 1768. While the circular letter was on its way to the colonies and to Westminster (for it was intended also for England), events were occurring at Boston which showed the temper of the people, and had no inconsiderable influence upon the action of the British government. The anniversary of the repeal of the Stamp Act, March 18, 1768, did not pass without popular demonstrations of ill-will to the customs officials, nor did the governor escape abusive language from the mob.[90] For some years these officers had been resisted in making seizures of uncustomed goods, which were frequently rescued from their possession by interested parties, and the determination of the commissioners of customs to break up this practice frequently led to collisions; but no flagrant outbreak occurred until the seizure of John Hancock's sloop "Liberty" (June 10, 1768), laden with a cargo of Madeira wine. The officer in charge, refusing a bribe, was forcibly locked up in the cabin, the greater part of the cargo was removed, and the remainder entered at the custom-house as the whole cargo. This led to seizure of the vessel, said to have been the first made by the commissioners, and for security she was placed under the guns of the "Romney", a man-of-war in the harbor. For this the revenue officers were roughly handled by the mob. Their boat was burned, their houses threatened, and they, with their alarmed families, took refuge on board the "Romney", and finally in the Castle. These proceedings undoubtedly led to the sending additional military forces to Boston in September.[91]
The General Court was in session at the time, but no effectual proceedings were taken against the rioters. Public sympathy was with them in their purposes, if not in their measures. But the inhabitants of Boston, in town meeting on the 14th, in an address to Governor Bernard, probably drawn by Otis,[92] among other matters complained of being invaded by an armed force. With grim humor, the address represents the commissioners, who had fled for safety to the Castle, as having "of their own notion" relinquished the exercise of their commission, and expressed the hope that they would never resume it, and demanded of the governor to give immediate order for the removal of the "Romney" from the harbor. Some weeks[44] later (June 30) the Council passed the customary resolution, setting forth "their utter abhorrence and detestation" of the riotous proceedings, and desiring that the governor, through the attorney-general, would prosecute all guilty persons, that they and "their abettors might be brought to condign punishment."[93]
When the circular letter was laid before the ministry, April 15, 1768, it caused great excitement in parliamentary circles, and led to the gravest mistake which was made by the government during the entire Revolutionary period. Other measures, perhaps without exception, had a show of necessity; nor, as the British Constitution was then interpreted by the highest authority, were they clearly unconstitutional. But when the Earl of Hillsborough, speaking for the king, June 21, 1768, required the Massachusetts House of Representatives to rescind their circular letter on pain of immediate dissolution, there was a violation of the constitutional right of the House to express their opposition to measures deemed injurious to their constituents, and to communicate their sentiments to other colonies whose interests were similarly affected. Equally unwise was Hillsborough's letter to the colonial assemblies, requiring them to disregard the Massachusetts circular. Responses to the circular letter, when they expressed the sentiments of the assemblies rather than those of the royal governors, were in full sympathy with Massachusetts.[94] The representatives, says Bernard, "have been much elated, within these three or four days, by some letters they have received in answer to the circular letter",[95] and Hutchinson thought that "the strength which would be derived from this union confirmed many who would otherwise have been wavering."[96] But when Governor Bernard (June 21, 1768) communicated to the House instructions from the king to rescind the circular letter, and recommended immediate action as of important consequence to the province, no doubt it caused anxiety. Under a similar pressure New York had receded. The House apprehended the gravity of the situation, and took seven or eight days for consideration, and even then desired to consult their constituents. But when Bernard informed them that further delay would be considered as a refusal, they voted, 92 to 17, not to rescind, and "the number 92", Hutchinson says, "was auspicious, and 17 of ill omen, for many months after, not only in Massachusetts Bay, but in most of the colonies on the continent."[97] They doubtless were influenced by Otis, who spoke with great power, and, according to Bernard, unsparingly denounced the ministry and "passed an encomium on Oliver Cromwell."[98] Massachusetts deliberately disobeyed the king's command, and defied his power. Before dissolution, the House agreed (June 30, 1768) upon a message to the governor, arguing the question very fully, and declaring their refusal to rescind; a letter to the Earl of Hillsborough; and a[45] Report and Resolves, in which they repeat the story of their grievances, doings, and rights with great fullness and ability.[99]
The effect of this action, so honorable to the House, was unfavorable upon the ministry. De Berdt, the London agent, in a letter to the House, August 12, 1768, giving the substance of a conversation with the Earl of Hillsborough, says that his lordship informed him that he would have used his influence for the repeal of the Townshend Acts, and believed he could have obtained it; but since the news respecting the non-rescinding of the circular letter, the matter was in doubt. "The crown must be supported, or we sink into a state of anarchy."
In July, 1768, General Gage, then at New York, had been directed by the ministry to remove one or two regiments to Boston; and when the news of the riots of March 18 reached England, on August 14, two additional regiments were ordered from Ireland. When rumors of these orders became rife in Boston, there were indications that the country would be raised to prevent the landing of the troops; but different counsels prevailed. A town meeting was held in Faneuil Hall on the 12th and 13th of September, which agreed to call a meeting of the towns.[100] Ninety-six towns and eight districts were finally represented in the convention which assembled at the time appointed (September 22). Their first act was a petition to the governor setting forth their apprehensions in respect to a standing army. This the governor refused to receive, but he expressed his opinion of the unauthorized meeting they were holding, directed them to separate instantly, and threatened to assert the prerogatives of the crown. After a recital of grievances, with declarations of loyalty and promises of assistance to civil magistrates in suppressing disorders, they adjourned on the 29th. Their proceedings were moderate,—a moderation induced, as some supposed, by the arrival at Nantasket, September 28, from Halifax of a fleet of seven armed vessels, with nearly a thousand troops.[101] If contempt of the royal prerogative, after the refusal to rescind the circular letter, could have been more pointedly expressed, it was by holding a provincial convention without[46] sanction of law. Between these measures and April 19, 1775, no step involving a new principle was taken. The burning of the "Gaspee" in 1772 and the destruction of the tea in 1773 were merely the filling in of a picture firmly sketched in outline.
The refusal of the provincial council and of the town to provide for quartering the royal troops on their arrival was a practical nullification of the Mutiny Act, which served still further to strain the relations between Massachusetts and the British ministry. Parliament came together November 8, 1768. Both Houses were swift to condemn the late proceedings of the General Court of Massachusetts and of the town of Boston. On December 15 these acts were made the basis of eight resolutions, introduced by the Earl of Hillsborough, and an address to the king, moved by the Duke of Bedford, to obtain information respecting the actors in the riotous proceedings since December 10, 1767, with a view, if deemed advisable, of ordering their transportation to England for trial. These were passed by the House of Commons (January 26, 1769), after a debate in which the whole subject of American affairs was discussed.[102] The news of these proceedings at first created some uneasiness in Boston among those implicated; but apprehension subsided when it was learned from their friends in England that the voting of Bedford's Address by the two Houses was merely political;[103] that lenient, not rigorous, measures were intended by the ministry; and that the late act laying duties would be repealed. This intelligence reassured the patriotic party, but correspondingly depressed the tories, who saw no hope in the vacillating policy of the ministry.[104] A policy was much needed. Chatham had resigned in October, 1768, and the Duke of Grafton became the nominal, as he had long been the real, head of the ministry. Lord North, Chancellor of the Exchequer, had charge of the revenue. The Duke of Grafton favored the total repeal of the Townshend duties, but Lord North favored the retention of that on tea, as a matter of principle; and so it was decided by a majority of one in the Cabinet Council. Parliament rose May 9, and four days later the Earl of Hillsborough reported to the several colonies the resolutions of the government on the circular letter. Lord Hillsborough's letter gave little comfort to the Massachusetts House of Representatives, whose firmness was commended by Pennsylvania and Virginia, and the threat of transportation of the Bostonians to England for trial under a statute of Henry VIII. called forth from the latter colony vigorous resolutions and an address to the king, May 16, 1769.[105] Jefferson has given the history of these resolutions.[106] This action did not meet the approval of Lord Botetourt, the governor of Virginia, and he dissolved the House of Burgesses. This, however, did not prevent the delegates from meeting at the Apollo, in the Raleigh tavern, and, as citizens,[47] entering into a non-importation agreement which bore the names of Henry, Randolph, Jefferson, and Washington, and became an example to all the colonies.[107] During the remainder of the year 1769 the progress of the Revolution was confined chiefly to Massachusetts, and there it assumed the form of an altercation between the House of Representatives and the governor in respect to the presence of the king's forces.[108] Coming in for their annual session near the end of May, the House, unwilling even to organize in the presence of the military, sent a message to the governor, remonstrating against so gross a breach of its privileges, and requesting him to give orders to remove the standing army, the main guard of which was kept with cannon pointed at the very door of the State House.[109] There was no design in this arrangement, but it was very menacing, nevertheless. For nearly two weeks messages kept passing back and forth, to the purport, on the governor's side, that he had no authority to remove the troops, they being under the commander-in-chief; and on the part of the House, that they would do no business while the troops remained. It occurred to the governor that, if he could not remove the troops, he could remove the General Court; and this he did by directing the secretary to adjourn it to Cambridge. The Court did not appreciate this stroke of humor, and proceeded to business only after a protest of necessity. But Bernard's career was drawing to a close. June 28th he informed the House that the king desired him to repair to Great Britain. July 8th the House passed nineteen resolutions,[110] covering the whole ground of dispute with the home government, and arraigning the governor for various political misdemeanors. They petitioned for his recall; and Governor Bernard left the province, accompanied by the reproaches of the House and manifestations of joy by the people. He did not succeed in a position in which all who had preceded him and all who followed him failed. He could not serve well two masters.
PLAN OF KING STREET AND VICINITY.
Note.—The plan on the following page is a reduction from that used in the trial following the massacre, and was made by Paul Revere. It now belongs to the MS. collections of the writer of this chapter. The key to the letters in the street, a part of the original drawing, is lost. Those attached to the buildings, etc., are substituted for the legends which are in the original, and which would be illegible in the reduced scale of the present reproduction. They signify as follows:—
A, Doctr Jones; B, Doctr Roberts; C, Brigdens, goldsmith; D, John Nazro, store; E, Main Street; F, Town house; G, Brazen Head; H, Benj. Kent, Esq., house; I, Mrs. Clapham; J, Exchange Tavern; K, Exchange Lane; L, Custom House; M, Col. Marshall's house; N, "N.B. The pricked line is the Gutter;" O, Mr. Paine's house; P, Mr. Davis's house; Q, Mr. Amory's house; R, Quaker Lane; S, Warden and Vernon's shop; T, Levi Jening, shop; U, Mr. Peck, wa[t]ch maker, shop; V, Court Square; W, whipping-post; X, J. & D. Waldo, shop; Y, Pudin Lane; Z, G. C. Phillips, house; 1, Ezk. Prince, Esq., office; 2, Guard House; 3, Mr. Bowse, shop.
Revere engraved a large folding picture of the massacre, which appeared in the official Short Narrative, which has been reproduced in the Old State House Memorial (Boston, 1882, p. 82) and in the Mag. of Amer. Hist. (Jan., 1886, p. 9), in an article on Revere by E. H. Goss. A reëngraving of Revere's plate is in the London (Bingley) edition of the same, and on a smaller scale in the other London (Dilby) edition, and this last is reproduced in the Mem. Hist. Boston, iii. 40. Thomas's Mass. Kalendar (1772) has a woodcut representation, after Revere's drawing. Cf. nos. 579 to 583 of the Catal. of the Cab. of the Mass. Hist. Soc.—Ed.
When Sir Francis Bernard[111] sailed for England on board the "Rippon", in August, 1769, he left the administration in the hands of Lieutenant-Governor Hutchinson. For several months nothing of importance took place, except misunderstandings growing out of the non-observance of the non-importation agreements (which were renewed March, 1770), and quarrels between the troops and the populace which resulted in the deplorable scenes of March 5, 1770. The circumstances which led to this affair are too well known to need recital in detail. While the town was occupied by British regiments, collisions were constantly occurring. None knew better than the populace the helplessness of the soldiers to resent insult or injury by arms. Even in case of riots, the reading of the Act and the intervention of the civil power were necessary preliminaries to firing upon the crowd. Nothing but confinement of the soldiers to their barracks could have prevented collisions with the populace. The patriot leaders had determined to get rid of the regiments at all cost. The affair at Gray's wharf on Saturday, March 2, led to the more serious affray on Monday, the 5th. On the evening of that day, between seven and eight o'clock, the cry of fire and ringing of bells drew together a large crowd, which was followed by a collision with the troops, and resulted in the death of three persons and wounding of several others, two mortally. The Boston Massacre soon became known throughout the country, and aroused a spirit of resistance hitherto unfelt. Its immediate effect was the withdrawal of the troops from the town to the Castle, on account of the resolute attitude assumed by Samuel Adams. The men who lost their lives in this affray were buried in one grave, to which they were followed by an immense procession, and for some years the anniversary of their death was observed by commemorative ceremonies. All classes in the community joined in execrating the soldiers, and gave no ear to justifying or mitigating circumstances. Inflamed and grossly inaccurate accounts of the transactions were drawn up and scattered through the colonies and sent to Great Britain. But time somewhat allayed the first feeling of animosity; and when the facts became better known, it clearly appeared that the soldiers had fired, without orders, upon the crowd only when it had become necessary in defence of their lives. Captain Preston (October 24) and the soldiers (November 27) engaged in the affray were brought to trial on a charge of murder, and were all acquitted, except two soldiers who were convicted of manslaughter. These were slightly branded, and all of them were liberated. John Adams and Josiah Quincy, Jr., appeared in their defence, and with equal honor the jurors did their duty in accordance with the law and the evidence. The news of the events of March 5 became known in London April 21, through Mr. Robertson. one of the commissioners of the customs.[112]
THE COURT AT THE TRIAL
A fac-simile of a group of original autographs belonging to the writer of this chapter. Winthrop was the clerk of the court. The Attorney-General Sewall drew the indictment, but did not appear for the king.—Ed.
The Townshend act, though drawn conformably to the colonial distinctions between internal and external taxes, produced the same dissatisfaction as the Stamp Act had done. There was no real difference. If Parliament could lay external taxes, it could lay internal taxes. Non-importation agreements in the several colonies followed in 1769, and so long as they were observed, even without great strictness, were disastrous to British merchants, the value of whose exports to the American colonies between Christmas in 1767 and Christmas in 1769 fell off nearly £700,000 sterling; or, if we take the figures for those colonies where the agreement was most effective, in New England from £419,000 to £207,000, in New York from £482,000 to £74,000.[113] Though the agreement was not observed equally in all the colonies, nor in entire good faith in any,—Massachusetts and Rhode Island, particularly, suffered some discredit in this respect, as compared with New York and Philadelphia,—the general result seriously[51] alarmed British merchants, who petitioned Parliament for the repeal of the Townshend act.[114] These petitions were considered in the House of Commons March 5, 1770, and Lord North, in accordance with Earl Hillsborough's circular letter, proposed to take off all the duties laid by the Townshend act of 1767, except that on tea, which he would preserve as a sort of declaratory act, especially since the conduct of the Americans had been such as to prevent an entire compliance with their wishes.[115] Governor Pownall offered as an amendment the entire repeal of the act, and supported his motion in an extremely able and interesting speech.[116]
THE COUNSEL OF THE GOVERNMENT AND OF THE ACCUSED
A fac-simile of a group of signatures belonging to the writer of this chapter.—Ed.
Pownall's amendment was lost by a vote of 204 to 142. The merchants failed to procure a repeal of the duties, although Alderman Trecothic made one more effort in their behalf, on the 9th of April, "in a very sensible speech."[117]
When the news of the Boston Massacre reached England late in April, 1770, it recalled attention to American affairs, which, after the defeat of Trecothic's motion, seemed to have been laid aside for the remainder of the session. Trecothic called for the papers.[118] While waiting for them, Governor Pownall made a speech on the "powers of government [which] the crown can and ought to grant to the dependencies of the realm; what form and power of government the British subject in those parts ought to be governed by; what powers are granted, both civil and military; and what arrangements, and means taken, for administering and executing these powers."[119] Burke, in the second of eight resolutions, affirmed "that a principal cause of the disorders which have prevailed in North America hath arisen from the ill-judged and inconsistent instructions given, from time to time, by persons in administration, to the governors of some of the provinces of North America."[120] Later, the same resolutions were brought forward in the House of Lords by the Duke of Richmond. But Burke was not acting in good faith. A close observer wrote at the time: "It is plain enough that these motions were not made for the sake of the colonies, but merely to serve the purposes of the opposition, to render the ministry, if possible, more odious, so that they may themselves come into the conduct of affairs, while it remains very doubtful whether they would do much better, if at all, than their predecessors."[121] This resulted well for the colonies, and, in the long run, for the progress of liberal ideas in both countries. But to those who wished for the continuance of the British connection, and believed in its practicability, it must have been a matter for profound regret that the liberal leaders, from Chatham to Fox, simply found fault with the acts of the ministry, and proposed nothing instead. The ministry, conciliatory to-day and severe to-morrow, had no fixed policy. American affairs gave way to the exigencies of a general election, just as we have lately seen in this country, great interests jeopardized by the unwillingness of both political parties to treat them on the eve of a presidential election. If, instead of this vacillating and inconsistent policy, both parties had given their attention to devising some rational system of colonial administration, as proposed by Pownall,[122] leaving local affairs to the colonists, but placing imperial affairs under a permanent board, not changeable with every ministry, the colonies and the mother-country might have remained united, perhaps for a generation, longer.
The Townshend duties, except those on tea, were repealed in April; but this did not satisfy the colonists, and dissensions arose among the merchants of the several colonies in regard to the non-importation agreement. Those of New York became dissatisfied with Boston and Newport merchants, who had agreed to import non-dutiable articles, even before the news of the repealing act; and in October, 1770, all sections fell into the[53] same plan, but no teas were to be imported. The Sons of Liberty in New York in vain resisted this arrangement.
In Massachusetts the patriots were seldom without causes of just complaint. Governor Hutchinson, in obedience to instructions of General Gage, had delivered (September 10) the keys of Castle William, in Boston harbor, which belonged to the province, to Colonel Dalrymple, who was the servant of the king; and following royal instructions, had refused to convene the General Court at Boston, instead of Cambridge, or to assent to any bill by which the assessors (in 1771) could tax the officers of the crown.[123] These exercises of the royal prerogative, and the payment of the governor's salary by the crown, involved constitutional questions of higher import, as the British Constitution then stood, than the question of parliamentary supremacy, and were matters of unceasing contention. In 1770, Franklin was chosen London agent of the colony, although not without some objection, in the place of De Berdt, recently deceased (May), and Hutchinson was appointed governor in March, 1771.
In 1772, although it was a year of general quiet, two events happened, which, in different ways, promoted the purposes of the more ardent patriots,—the burning of the "Gaspee" at Providence in June, and the formation of committees of correspondence in November. On the 9th of June, Lieutenant Dudingston, commander of the "Gaspee", who had shown great activity in the revenue service at Rhode Island, in undertaking to intercept the "Providence Packet", Captain Lindsay, ran aground on Namquit Point. While in this position, the "Gaspee" was boarded on the following night by a party of citizens led by John Brown, a respectable merchant. In the mêlée the lieutenant was wounded and the vessel was burned. The affair created a great sensation in England, and it was ordered that those engaged in it should be sent to England for trial. For this purpose the home government appointed colonial commissioners, who sat at Newport from the 4th to the 22 January, 1773, to inquire into the matter.[124] At the end of their deliberations they required Wanton, the governor of Rhode Island, to arrest the offenders, for trial in England. He appealed for directions to the Assembly, as did Stephen Hopkins, the chief-justice of the highest court. That body referred the matter to the discretion of the chief-justice, and he accordingly refused to arrest, or to allow the arrest of, any person for transportation.[125] Nothing came of the order except ill-humor in England and indignation in the colonies, where it was regarded as an invasion of their constitutional right of trial by their peers.
Samuel Adams was always busy on political subjects; nor were subjects wanting. The Earl of Hillsborough had been succeeded in the American department (August 4, 1772) by Lord Dartmouth; but the change in administration made no change in the policy of paying the salaries of the[54] provincial judges by the king, and thus rendering them less dependent on the popular will. This was thought to be in derogation of colonial rights, especially so long as the judges held their seats only during the king's pleasure.
JOSEPH WARREN.
From a pastel owned by the heirs of the late Hon. C. F. Adams. It is unfinished below the chest.—Ed.
Accordingly, a town meeting assembled in Faneuil Hall, October 28, and adjourned November 2d. Samuel Adams moved "that a committee of correspondence be appointed, to consist of twenty-one persons, to state the rights of the colonies, and of this province in particular, as men, as Christians, and as subjects; to communicate and publish the same to the several towns in this province and to the world, as the sense of this town, with the infringements and violations thereof that have been, or from time to time may be, made; also requesting of each town a free communication of their sentiments on this subject."[126] This was the beginning of an organization (November 22), entered into with hesitation by some of the leading patriots of Boston, which finally secured the public confidence, and became a great power for the concentration of popular sentiment.
Slightly reduced from an original in the Boston Public Library.—Ed.
It undoubtedly led to the larger measure of intercolonial correspondence instituted by Virginia during the next spring; and not the least of its claims to consideration is the fact that it engaged the attention and secured the services of Joseph Warren as the trusted lieutenant of Samuel Adams.[127]
The American Revolution rests upon grounds so high and clear, and was carried forward by measures so honorably conceived and so persistently adhered to, that all who adopt its principles must regret any circumstance in its history by which the opinion of candid people is divided. Such a division is found in connection with the Hutchinson letters. The story is briefly this:—In the years 1768 and 1769 Thomas Hutchinson and Andrew Oliver, then officers in Massachusetts, appointed by the crown, and sworn to a faithful discharge of their duties, with several other persons, in a private correspondence with Thomas Whately, an English gentleman, formerly, but not then, connected with the government, communicated facts about colonial affairs the truth of which has never been impugned, and expressed opinions which Tories might honestly entertain. These letters in some unexplained manner found their way—either from the cabinet of the person to whom they were addressed, after his death, or, as is more likely, from the papers of George Grenville, to whom Whately had probably entrusted them for perusal—into the hands of Franklin, the colony agent in London, by whom they were sent in 1773, with an unsigned letter, to the speaker of the Massachusetts House. The injunctions in respect to them were loosely regarded, and they were published by a breach of faith which implicated a large body of men. They were made the basis of a petition by the General Court to the king for the removal of their writers from the offices which they held; but after a hearing before the Privy Council, January 29, 1774, the petition, which the province did not attempt to support by evidence, was dismissed as "groundless, vexatious, and scandalous." Two days later, Dr. Franklin was removed from the office of deputy postmaster-general for the colonies,—a circumstance of great consequence to the American cause, since it irrevocably committed to it one who had been thought its lukewarm promoter.
Massachusetts, which had led in most of the Revolutionary movements, did not take the lead in establishing committees of correspondence between the colonies. That honor belongs to Virginia; and its chief cause was the action of the commissioners in the "Gaspee" case. March 12, 1773, Dabney Carr, who had been put forward at the suggestion of Jefferson, moved certain resolutions in the Virginia House of Burgesses, which, supported by Richard Henry Lee and Patrick Henry, were unanimously adopted. Rhode Island followed in adopting similar measures. On May 28th the Massachusetts House responded to Virginia.[128] Hutchinson justly considers this as one of the most important and daring movements of the patriotic Party during the Revolution.[129] It paved the way for the union of the[57] colonies and for the General Congress which was convened at Philadelphia the next year.
To the patriots of Philadelphia belongs the credit of making the first public demonstration against the project of the East India Company for transporting their accumulated stock of tea to America, in a series of resolutions passed October 18, at a meeting held in the State House.[130] News of the intention of the company to do this had reached America in August. Samuel Adams was ready. The towns in the province of Massachusetts were aroused by Joseph Warren's circular letter in behalf of the Committee of Correspondence, September 21, 1773, and the Philadelphia resolutions were adopted in Faneuil Hall. Constant communications were kept up between the importing colonies. Ships loaded with tea were dispatched about the month of August to Boston, New York, Philadelphia, and Charleston, but the tone of the public press in those towns indicated a determination not to allow the sale of the cargoes. The Charleston consignees, on the request of the people, resigned; those at Boston refused. November 28, one of the tea ships arrived in Boston, followed not long after by two more. These were placed under guard by the patriots. The consignees would neither resign nor return the tea, and the time was near at hand when they would be seized for non-payment of duties. Thursday, December 16, a large meeting of the citizens was held at the Old South Church, at which Josiah Quincy, Jr., spoke in words that have become historical. After all efforts to induce Hutchinson to grant a pass for the return of the tea (which he thought would be illegal) had proved futile, a war-whoop was sounded at the door of the Old South, and a large company of men disguised as Indians rushed to Griffin's wharf. Teas to the value of £18,000 were thrown from the vessels into the sea, and the same treatment was bestowed upon another cargo which came some weeks later. This act, although applauded throughout the colonies, was not imitated by them; other means were found to prevent the sale of the teas.[131]
While the news of these events was on its way to England, John Adams signalized his zeal in the patriotic cause and evinced his faith in the provincial constitution by leading in the impeachment of Chief-Justice Oliver for having accepted his salary from the crown instead of the people, in derogation of their fundamental rights.[132]
Governor Hutchinson, finding himself powerless to quell the storm, determined to put himself in closer communication with the ministry by going to England, but was delayed by the death of Lieutenant-Governor Oliver, until he was finally superseded by General Gage, who arrived in Boston May 13, 1774. As he was about to leave, he received an address, dated May 30, approving his conduct, and signed by many respectable Tories; but some of them were afterwards obliged by threats of popular[58] violence to make their recantations in the newspapers. June 1, he sailed from Boston, and never saw his native shore again.[133] In the mean time an account of the destruction of the teas had reached England, and produced great indignation, which was shared to some extent by the most ardent friends of the colonists, whose efforts to mitigate and delay the punishment visited upon the offending people of Boston were unavailing. On the 7th of March, the king sent a message communicating the despatches from America; and on the 14th Lord North brought in the Boston Port Bill, which transferred the commerce of Boston, after the 1st of June, to Salem, but gave power to the king, in council, to restore it, upon the return of order and full compensation to the owners for the teas destroyed. Having passed both Houses, this received the king's assent March 31, and took effect June 1. While the measure was pending in the House of Lords, Lord North introduced another bill, which provided for the appointment of councillors by the crown, the appointment and removal by the governor of judges of the superior courts, justices of the peace, and other minor officers, and, with the consent of the council, of sheriffs. The governor's permission was made necessary for the holding of town meetings, except for the choice of officers. It was also provided by another act that offenders and witnesses might be transported for trial to the other colonies, or to England.[134]
These severe measures did not pass without resistance or protest by the liberal party in Parliament. They reached Boston June 2, 1774, were printed in the newspapers on the 3d, and soon found their way into all the colonies, where they excited indignation against the ministry and sympathy for the people of Boston, which was manifested by liberal contributions for relief when afterwards the loss of business had brought distress. If anything more was needed to arouse the anger of New England, it was supplied by the Quebec Bill, less objectionable to that section because it extended the bounds of Canada over regions for which the colonies had contended, than because it perpetuated civil and ecclesiastical institutions hateful to the descendants of Puritans. Hutchinson thought that these severe measures would bring the recalcitrant Bostonians to reason. But he was mistaken. The matter had already passed from the forum of reason, and was reserved for the arbitrament of impending war. Instead of being subdued, the spirit of the people became more resolute.
The Boston Port Bill, designed as a punishment for the destruction of the tea, brought ruin to the commerce of Boston, and distress to all whose subsistence depended upon it; but its political effect was to draw the colonies together, and that was so effectually promoted by the vigorous action of the committee of correspondence that the idea of a continental congress soon became general.
A CONTEMPORARY PRINT.
Sketched from a finely executed mezzotint, published in London in 1774. The man thrown from his horse seems to be Gage. The original belongs to the Boston Public Library.—Ed.
On May 26, 1774, Governor Gage informed the General Court that by the king's command its sessions would be held at Salem from June 1st until further orders. The court was convened at that place, and the patriots, guided by Samuel Adams, were making arrangements for a general congress at Philadelphia, when the governor, getting a hint of their action, sent Flucker, the provincial secretary, with a message to dissolve them. The secretary, however, found the door of the chamber of the Representatives locked; and before it was opened, that body had determined that "a committee should be appointed to meet, as soon as may be, the committees that are or shall be appointed by the several colonies on this continent, to consult together upon the present state of the colonies", and had chosen James Bowdoin, Samuel Adams, John Adams, Thomas Cushing, and Robert Treat Paine delegates thereto. Such was the origin in Massachusetts of the first Continental Congress which met at Philadelphia September 5, 1774.[135]
The 17th of June, the day on which delegates to the Continental Congress were chosen, is also notable for "the Port Act" meeting in Faneuil Hall. From the general distress among the laboring classes in Boston the Tories had expected a reaction in favor of the ministry; consequently a counter demonstration by the patriots was deemed advisable. In the absence of Samuel Adams, then at Salem, John Adams was chosen moderator, and from this time he was one of the most conspicuous actors in the American Revolution. Joseph Warren was also present, and active in the cause which, a year later, he consecrated with his blood. The action of the town became widely known from a broadside, which is here reproduced.
After the repeal of the Stamp Act and the modifying of the Townshend act, there remained nothing to threaten seriously the pockets of the colonists. The tea duty had been retained to save the claim of parliamentary supremacy, which was not likely to be asserted in any offensive way. The navigation acts must soon have given way to a more liberal and equitable policy, and everything out of Massachusetts—certainly out of New England—indicated that the people were becoming tired of strife, and were ready for a return to more cordial relations with the mother country. This was what Samuel Adams feared, and determined to prevent. To this end nothing could have been more efficient than his policy in respect to the teas, and nothing more to his mind than the consequent action of Parliament. After this a contention which had been mainly local became general. The essential modification of the Massachusetts charter was a blow which imperilled every colonial government, and made the cause of Massachusetts that of every other colony,—a cause for which other colonies manifested their sympathy not only in relieving the distress occasioned by the closing of the port of Boston, but by uniting in declarations of their common right to maintain the integrity of a system of government which had been forming through many generations.
The Congress of 1774 was the inevitable result of the conduct of the British ministry subsequent to the peace of 1763. This served only to engender discontent in the colonies, and to strengthen the purpose of the patriotic party to hasten a revolution which many regarded as inevitable in time. The parliamentary government of the colonies fell into confusion for want of a well-defined policy and a consistent administration. But instead of such a policy, colonial affairs were regulated by ministers as wide apart in their views as Grenville, Rockingham, Townshend, Grafton, Shelburne, Hillsborough, Lord North, and Earl Dartmouth. Nothing could have kept the colonies as an integral part of the empire except some plan such as Franklin or Pownall might have devised and Shelburne might have administered. But the colonies were remote and but little known, and in the complication of European affairs, and amid the contentions of parties, they received only slight and intermittent attention from the ministry or the Parliament. No statesman save Choiseul seems to have understood the completeness of the change in interests which had been brought about by the extinction of the French power in America, or the necessary advance of the colonies under a new régime to a place among the great powers of the world. The colonists themselves felt, rather than understood, their relations to nationality and to the commerce of the world. This was the time chosen by the British ministry to impose upon them the restrictive mercantile system of Charles II.
BROADSIDE, JUNE 17, 1774.
The original is in the Boston Public Library. There are other significant broadsides of about this time. On June 8th, the citizens of Boston issued an address to their countrymen relative to the blockade of their port, and on July 26th they adopted a letter on the blockade, which was sent to the several towns,—both in broadside.—Ed.
It is doubtful, however, whether any policy could have rendered permanent the subjection of the colonies, even such a nominal subjection as that in which they had always been held. In looking for the causes of the Revolution, it is well to discriminate between those which were general in their effects and those which were local. The latter had been more actively operative and of longer existence in Massachusetts, where the Revolution began, than in any other colony. These were interwoven with the civil and ecclesiastical history of her people, which made them peculiarly apprehensive in respect to threatened invasion of rights which they had secured only by expatriation. Although the peculiar experience of Massachusetts did not cause the Revolution, it is doubtful whether, except for that experience, the Revolution would have occurred for some years. Nor was resistance to the Anglican ecclesiastical pretensions, connected as they were with the most odious features of the prerogative, confined to New England, but made itself felt in New York and in Virginia.[136] The general causes were the ever present and ever active strife between parties,—the liberals and the conservatives,—arising from a diversity of political ideas, and intensified by ambition, interest, and personal animosities. But the proximate causes of the Revolution will be found in that change of policy which led the ministry, at the close of a war that had strained the colonies to the utmost, to enforce the navigation laws, to lay taxes, to invoke the prerogative, and finally to overthrow the government of Massachusetts, and thus to threaten the autonomy of the people under the provincial constitutions.
CRITICAL ESSAY ON THE SOURCES OF INFORMATION.
THE change in British colonial policy contemplated by the ministry during the progress of the French War, and entered upon between 1763 and 1774, developed those causes of dissatisfaction which had been intermittently operative for more than a century, and finally led to war in 1775. In the preceding chapter I have omitted, or passed lightly over, many incidents of the period which had no particular political significance, and dwelt more at length on the principles and causes which led to the Revolution. I shall pursue the same course in this essay.
The growth and development of the colonies brought forward, in succession, two practical questions. The first was, how far the interests of the colonies, as appendages to the[63] crown, but subject, nevertheless, to an undefined parliamentary authority, could be subordinated to the interests of the trading and manufacturing classes in England. This was purely an economic question, and the answer to it in England assumed the subjection of the colonies and the validity of the mercantile system, neither of which was vigorously contested by the colonists so long as neither was rigidly enforced. But the question changed during the progress, and more especially at the close, of the French War, and then became this: How far could the interests of the colonies be subordinated to the necessities of an imperial revenue and the political policy of an empire? Hence arose the second question: What degree of autonomy could be allowed to the colonies, as integral parts of the empire, entitled to its privileges and subject to its burdens, when both were to be determined consistently with the constitutional prerogatives of the king and the supremacy of Parliament on the one side, and on the other with the natural and acquired rights of the colonies?
Regarded purely as an economic question, it was a matter of indifference to the colonists whether their pockets were depleted by the enforcement of an old policy or by the adoption of a new policy. The Sugar Act of 1733, if enforced, would have produced a parliamentary tax. The Grenville Act of 1764 did no more. But the former was intended as a regulation of trade; the latter to produce a revenue. This difference of intent raised a constitutional question, and it was on this constitutional question, behind which lay the real economic question, that the patriotic party chose to fight the battle. Grenville's Act, as an external tax, produced but little; and the Stamp Act, as an internal tax, not a farthing.
It was, therefore, mainly on the constitutional question—of the right to tax, rather than to throw off intolerable burdens—that people divided into parties. As Webster said, "They went to war against a preamble. They fought seven years against a declaration."[137] To understand the attitude of the tories on the economic question as well as on the constitutional question, we must consider the state of colonial affairs which led to the Congress of 1754, and the tentative efforts of that body to find consistent and reciprocal relations of the colonies to the imperial government, for union, defence, and revenue. To understand the attitude of the patriots, we must consider the reasons of the ministry for rejecting such a union, and their efforts to force each colony into relations to the crown and Parliament deemed by them consistent and reciprocal, but regarded by the colonists as subversive of their rights as Englishmen, and of their rights acquired by charters, growth, development, and usage, which, as they justly claimed, had become constitutional.
Though the enforcement of the navigation laws and acts of trade, at the close of the French War, is regarded by historians as one of the principal causes of the Revolution, I fail to find a satisfactory or entirely accurate account of them, either as the basis of the mercantile system, or, later, of a revenue system. Such a treatment would hardly be practicable in the limits of a general history. These laws have been elaborately discussed by Thomas Mun, Sir Josiah Child, Sir William Patty, Charles Davenant, Joshua Gee, John Ashley, and, not to mention others, Adam Smith and Henry Brougham. But these authors wrote with reference to their influence, as part of the mercantile system, on British interests. How they affected colonial interests is the question which chiefly concerns us.
To answer this question we must know not merely what those laws enacted, but to what state of colonial trade they originally and successively applied. For instance, what, from time to time, by development of agricultural or other industries, between 1640 and 1774, had the colonists to sell, and what, as they increased in wealth, did they wish to purchase; and where, left to the unrestricted course of trade, would they have carried their products, and where purchased their merchandise? In other words, what would they have done and become under free trade?
Then we must know what changes in this normal condition of trade were intended by the navigation laws, and to what extent and with what effect their partial enforcement operated before 1763. With these facts before us, we could estimate with some exactness the valid objections to the new system on the part of the colonists, when enforced by the British navy, commissioners of customs, admiralty courts, and writs of assistance, and what was their influence in bringing on the Revolution.
Having made up the debit account, we should be able to set against it the compensations in naval protection, bounties,[138] drawbacks, British capital, and long credits, in developing colonial agriculture and commerce.[139]
Unfortunately there does not exist any history of the commerce of the American colonies, from the Commonwealth to 1774, as affected by navigation laws, acts of trade, and revenue measures. No one who has read the twenty-nine acts which comprise this legislation will recommend their perusal to another; for, apart from their volume, the construction of these acts is difficult,—difficult even to trained lawyers like John Adams, whose business it was to advise clients in respect to them.[140] Nor have special students, like Bancroft, stated their effect with exact precision, as in respect to the Act of 1663;[141] and notably in respect to the Townshend Act of 1767,[142] where his error amounts to a perversion of its meaning. Palfrey has been more successful, though not entirely free from error.[143] The author of the Development of Constitutional Liberty,[144] a work of uncommon research and ability, reads the act of 1672 as though it prohibited the carrying of fish from Massachusetts to Rhode Island except by the way of England, failing to notice that it was not one of the "enumerated articles", or that even those could pass directly from colony to colony upon payment, at the place of export, of duties equivalent to those laid upon their importation to England. To give a monographic treatment to the subject would require familiarity with the construction of statutes, and exact information not only of the shifting conditions of colonial trade, but of the evasions which called forth supplemental acts, or constructions of existing acts by the Board of Trade.[145]
In Burke's Account of the European Settlements in America[146] much may be found respecting colonial products and commerce, and especially those of New England (in ch. vii.), which leaves little to be desired concerning the sources of her wealth, and the complaints of British merchants of the methods by which it had been acquired. But I have found nowhere else so full and clear an account of the course of trade of Boston at the time of the Revolution, and the effect upon it of the enforcement of the navigation laws and acts of trade in 1770, as in an anonymous pamphlet entitled Observations of the Merchants at Boston in N. E. upon Several Acts of Parliament, 1770.[147]
An essential part of this history is that which relates to the medium of exchange, and to the attempts of Parliament to regulate the issue of paper money as a legal tender in the interests of British merchants.[148]
The history of the navigation laws suggests the similarity of the causes which led to the successive revolutions of 1689 and 1775 in Massachusetts. The violation of these laws was a principal reason for the abrogation of the first charter, in 1684, graphically described by Palfrey,[149] and their enforcement by courts of admiralty, under Dudley, Andros, and Randolph, was one cause of the overthrow of the Andros government in 1689.[150] The resistance to the same and additional enactments, when enforced as revenue measures, led to the alteration of the second charter in 1774, and this again led to revolution by the united colonies.
One of the most efficient instruments in the execution of the navigation laws was the writs of assistance granted by the court in Massachusetts in 1761.[151]
If the student of American history finds difficulty in accepting the common accounts of the constitutional opinions and motives of two fifths of the colonists, among whom were many who must be regarded as intelligent and respectable, his doubts as to the accuracy of these narratives receive some confirmation when he becomes familiar with the history of the Congress of 1754, the circumstances which led to it, and the opinions of some of its representative men. A comparison of their views will show how far they were willing to go in the "abridgment of English liberties", for the sake of union, defence, and government. Franklin, Hutchinson, and Pownall formed plans for union, and all were at Albany in 1754, and participated in the discussions, though Pownall, not being a member, explained his views outside the congress.[152]
The difference between Pownall, Hutchinson, and Franklin was this: that while all contemplated the union of the empire under one general government as something dictated by the interest of all the parts, Hutchinson limited the power of the President more than Franklin, and Pownall was unwilling to contemplate the transfer of its seat to America; the prospect of which gave Franklin no concern. "The government cannot be long retained without union. Which is best, to have a total separation, or a change of the seat of government?"[153] Speculations as to the results of such a union are now idle, unless for the interest drawn towards them by Professor Seeley's Expansion of England, and Franklin's belief, expressed in 1789, "that if the foregoing plan [that of 1754], or something like it, had been adopted and carried into execution, the subsequent separation of[67] the colonies from the mother country might not so soon have happened, nor the mischiefs suffered on both sides have occurred, perhaps, during another century."[154]
A comparison of the views of such men as Franklin, Hutchinson, and Pownall, expressed before they were forced into partisan relations to the impending conflict, help us in forming opinions respecting their conduct when affairs, no longer within the control of individuals, were swept onward by an uncontrollable impulse. Neither the colonies[155] nor the ministry approved of the proposed union; and when the new policy of raising a revenue was inaugurated the colonies were without defined integral relations to the mother country, and the government without administrative machinery for their regulation. The result was confusion. The press became heated, and an angry war of pamphlets ensued. At first the controversy was confined to the distinction between internal taxes and commercial regulations, but soon it involved the whole question of parliamentary power. This was elaborately and temperately discussed in the Farmer's Letters, by John Dickinson, but nowhere in America with more fulness (within the period covered by this chapter) than by Governor Hutchinson and the two Houses of the Massachusetts General Court, in messages and answers respectively, in January and February, 1773.[156]
So far as the Revolution grew out of the Massachusetts controversy between the king's representatives and the General Court, its progress may be traced in the Speeches of the Governors of Massachusetts, 1765 to 1775, and the Answers of the House of Representatives to the same.[157] These authentic documents, with the Journals of the House and the Records of the Town of Boston, may be referred to as showing the temper with which the parties treated each other, and the questions that were of paramount interest. The student will not find it easy to ascertain the facts which should make the history of the period. Contemporaneous accounts were generally drawn up with a partisan disregard of truth, and too much has been written subsequently in the same spirit. For the critical period of 1768, when the troops were sent over on account of the revenue riots, we have Bernard's Letters, which, though representing only one side, were written under a sense of official responsibility to the government. Though much complained of at the time as wanting in candor, their statements were evaded rather than controverted by the Answer of the Major Part of the Council, in a letter to the Earl of Hillsborough (April 15, 1769), as well as in The Vindication of the Town of Boston (Oct. 18, 1769), drafted by Samuel Adams. For the entire period covered by this chapter, I find no narrative apparently more just, or opinions more candidly expressed, than in Ramsay's History of the American Revolution. Remote from the scene of the conflict, Ramsay shared the passions of neither party.
The most important events of this period were the passage of the Boston Port Bill, and other related measures. The reasons which led to these acts are set forth at length in The Report from the Committee on the Disturbances in the Colony of Massachusetts Bay, April 20, 1774.[158] In this report may be seen the strength of the British case. Franklin's view of the matters referred to in the Report of the Lords may be found in a paper entitled Proceedings in Massachusetts,[159] and the bill itself was discussed in an interesting pamphlet by Josiah Quincy, Jr., Observations on the Act of Parliament.[160]
Franklin's paper was a clever argument in which he treated facts so as to serve his purpose rather than that of historic truth. His use of Oliver's phrase, "to take off the original incendiaries", which was a pleasant ad hominem hit, has been adopted seriously by Bancroft,[161] in a chapter entitled "A Way to Take off the Incendiaries." The concessions[68] which Franklin was willing to make for a settlement of the difficulties, as late as December 4, 1774, may be seen in "Some Special Transactions of Dr. Franklin in London, in Behalf of America", in Ramsay.[162]
The argument of Otis on the Writs of Assistance is the first well-arranged expression of the gathering opposition,[163] and what John Adams called "the heaves and throes of the burning mountain", forerunning the eruption, were shown in James Otis's A vindication of the conduct of the House of Representatives of the province of the Massachusetts-Bay; more particularly, in the last session of the general assembly (Boston, 1762).[164]
John Dickinson and Joseph Galloway were already pitted against each other on the question of maintaining the proprietary government of Pennsylvania, or of seeking a royal one.[165]
Frothingham[166] says the earliest organized action against taxation was when the town of Boston passed instructions to its representatives, May 24, 1764, the original writing of which is among the Samuel Adams MSS. The paper was printed in the newspapers of the day, and shortly afterwards in the famous tract of Otis, The Rights of the British Colonies asserted and proved,[167] in which, however, he failed, with all his fervid and cogent reasoning, to stand in every respect by the advanced position which he had taken in his plea against the Writs of Assistance.[168]
JAMES OTIS.
After a statue of James Otis, by Crawford, in the chapel at Mount Auburn. The usual portrait of Otis is by Blackburn, painted in 1755, and now owned by Mrs. H. B. Rogers. The earliest engraving of it which I have noticed is by A. B. Durand in Tudor, and again in the Worcester Magazine (1826), vol. i. It has been engraved by W. O. Jackman, J. R. Smith, O. Pelton, and best of all by C. Schlecht, in Gay's Pop. Hist. U. S., iii. 332. Cf. Loring's Hundred Boston Orators, and the woodcut in the Mem. Hist. Boston, iii. 6. The earliest engraved likeness is probably a rude cut on the title of Bickerstaff's Almanac (1770), which is reproduced in Lossing's Field-Book of the Rev., i. 486.
There is a photograph of the house where Otis was killed by lightning (May 28, 1783) in Bailey's Andover, p. 86. Cf. Appleton's Journal, xi. 784. The principal detailed authority on the career of Otis (born, 1724; died, 1783) is William Tudor's Life of James Otis, which Lecky, in his England in the Eighteenth Century (iii. 304), calls "a remarkable book from which I have derived much assistance." Francis Bowen wrote the life in Sparks's Amer. Biog., vol. xii. John Adams had an exalted opinion of Otis, and Otis's character receives various touches in Adams's Works (x. 264, 271, 275, 279, 280, 284, 289-295, 299, 300). Bancroft depicts him in 1768 (vol. vi. 120, orig. ed.), but he failed rapidly later by reason of the blows he received in an assault in Sept., 1769, provoked by him. Cf. Greene's Hist. View (p. 322); D. A. Goddard in Mem. Hist. Boston (iii. 140); Barry's Mass. (ii. 259).
One of the ablest as well as one of the most temperate expressions of the stand taken by the colonies was in Stephen Hopkins's Rights of the Colonies examined; published by Authority (Providence, 1765).[169]
Similar arguments were set forth in behalf of Connecticut by its governor.[170]
Already, in 1764, when Oxenbridge Thacher printed his Sentiments of a British American, he had formulated the arguments against the navigation acts and British taxation, which ten years later, in the Congress of 1774, Jay embodied in his Address to the British People.[171]
John Adams, in later years, when distance clarified the atmosphere, looked upon the conflict which Jonathan Mayhew waged with Apthorpe, and with the abettors of all schemes for imposing episcopacy on the people by act of Parliament, as the repelling of an attack upon the people's right to decide such questions for themselves, and as but a forerunner of the great subsequent question.[172]
JONATHAN MAYHEW.
Copied from a mezzotint engraving in the American Antiquarian Society's possession, marked "Richard Jennys, jun., pinxt et fecit."
A portrait by Smibert, and engraved by J. B. Cipriani, is in Hollis's Memoirs (1780), p. 371; and a reëngraving has been made by H. W. Smith. Cf. Bradford's Life of Mayhew; Thornton's Pulpit of the Rev.; Mem. Hist. of Boston, ii. 245, with note on his portraits.
The principal source of detailed information about Mayhew is Alden Bradford's Memoir of the life and writings of Jonathan Mayhew (Boston, 1838). Cf. Tudor's Otis (ch. 10); Thomas Hollis's Memoirs; Tyler's Amer. Lit. (ii. p. 199); touches in John Adams's Works (iv. 29; x. 207, 301); and on his death, Dr. Benjamin Church's Elegy, Dr. Chauncy's discourse, both in 1766, and the Life of Josiah Quincy, Jr., p. 384.
The issue on the question of taxation without representation was forced, after many indications of its coming,[173] when the British Parliament passed the Grenville Act in 1764, and in the next year what is known as the Stamp Act, a tax on business papers, increasing their cost at different[72] rates, but sometimes manyfold.[174] The question of the authorship of the bill is one about which there has been some controversy,[175] and, contrary to the general impression, the truth seems to be that the consideration of the bill caused little attention in and out of Parliament, and the debates on it were languid.[176]
In May a knowledge of the passage of the Stamp Act reached Boston,[177] and it was to go into effect Nov. 1st. In June the Massachusetts legislature determined to invite a congress of all the colonies in October. In August it was known that Jared Ingersoll for Connecticut and Andrew Oliver for Boston had agreed to become distributors of the stamps. The mob hanged an effigy of Oliver on the tree afterwards known as Liberty Tree,[178] and other outrages followed. The governor did not dare to leave the castle. Dr. Mayhew delivered a sermon, vigorous and perhaps incendiary, as Hutchinson averred when he traced to it the passions of the mob which destroyed his own house in North Square on the evening of August 26th.[179] The town contented itself with passing a unanimous[73] vote of condemnation the next day.[180] On Sept. 25th Bernard addressed the legislature in a tone that induced them to reply (Oct. 25th), and to fortify their position by resolves (Oct. 29th).[181] Finally, in December, Andrew Oliver,[182] the stamp distributor, was forced to resign, and on the 17th to sign an oath that he would in no way lend countenance to the tax.[183]
The spirit in Boston was but an index of the feelings throughout all the colonies.[184] The histories of the several States and the lives of their revolutionary actors make this clear.[185]
In October, 1765, what is known as the Stamp Act Congress assembled in New York, in the old City Hall.[186] Its proceedings are in print, and its deliberations are followed in the general histories and in the lives of its members.[187]
Franklin had, with considerable opposition, been appointed the London agent of Pennsylvania in 1764, and, being in that city, was accused by James Biddle of promoting the passage of the Stamp Act, but his letters show how he seems only to have yielded when he could not prevail in opposing.[188]
In July, 1765, the Rockingham administration came in, followed by the parliamentary sparring of Grenville and Pitt. In February, 1766, Dr. Franklin was examined before the House of Commons as to the temper of the colonies respecting the Stamp Act. He gave them some good advice,[189] and a full report of the questions and answers is preserved.[190] Parliament having passed the so-called Declaratory Act (March 7th) in vindication of its prerogatives, Pitt and Conway effected the repeal of the Stamp Act (March 18th), and vessels immediately sailed to carry the news to the colonies.[191] The whole question of taxation, thus brought squarely to an[75] issue by the controversy over the Stamp Act, induced frequent rehearsals of argument in debates and pamphlet, and the later historians have summarized the opposing views.[192]
Josiah Tucker, the Dean of Gloucester, began in 1766 a series of tracts, which he continued for ten years, in which he advanced sentiments respecting the colonies, not very flattering, while at the same time he held to arguments which few at the time admitted the force of, when he advocated the peaceful separation of America from the crown.[193]
The most important presentation of the Tory insistence in defence of the Stamp Act policy came directly—or, at least, through his secretary, Charles Lloyd—from Grenville himself, in[76] his attack on the Rockingham party, in the Conduct of the late Administration examined, with Documents.[194]
GEORGE THE THIRD.
Reproduction of a print in Entick's General Hist. of the Late War (3d ed., 1770), iv. frontispiece. A profile likeness, showing the king in armor, is in Murray's Impartial History of the present War in America, (London, 1778).
The movements for organization to suppress importation, which had begun in 1765, taking shape particularly in Philadelphia in Oct. and Nov.,[195] were brought into definite prominence by the votes of Boston, Oct. 28, 1767,[196] copies of which were circulated in broadside, as shown in the annexed fac-simile.[197] The influence of these had more marked effect in England than had followed any previous manifestations of that kind.[198]
HANDBILL
Copy of a broadside in the library of the Mass. Hist. Society.
Some other fac-similes are also given indicative of the prevailing coercive measures, which soon became popular. The next year (1768) committees were appointed in New York to consider the expediency of entering into measures to encourage industry and frugality and to employ the poor, and by 1769 the movement looking to independence of the British manufacturers became general through the colonies.[199]
FROM EDES AND GILL'S NORTH AMERICAN ALMANACK, 1770.
In February, 1768, the Massachusetts House of Representatives, by a circular letter addressed to the other colonies, invited them to consultation.[200] It drew from Hillsborough a circular letter of warning to the continent,[201] and in May Virginia issued a letter inviting a conference.[202] On June 10, 1768, the seizure of the sloop "Liberty"[80] brought further riotous proceedings in its train.[203]
PROSCRIBING AN IMPORTER.
After an original handbill in the Mass. Hist. Soc. library.
What is known as the "War of the Regulators", or "Regulation", a series of riotous disturbances in North Carolina, 1768-1771, has usually been held to be one of the preliminary uprisings against British oppression. A. W. Waddell, in a paper in the N. E. Hist. and Geneal. Reg. (1871, p. 81), contends that it was[81] nothing but a lawless outburst, and advances evidence to prove that the participants were but a small majority of the people, with no great principle in view; that they were ignorant, never republicans, became Tories, and were opposed by the prominent Whig leaders. He considers that Caruthers and other local historians[204] are responsible for the common misconception arising from their attempt to reflect credit on North Carolina for what is claimed to be an early patriotic fervor.
LANDING OF THE TROOPS IN BOSTON, 1768.
Fac-simile of an engraving by Paul Revere, which appeared in Edes and Gill's North American Almanack, Boston, 1770. It is reëngraved in S. G. Drake's Boston, p. 747, and in S. A. Drake's Old Landmarks of Boston, p. 119. Key: 1, The "Beaver", 14 guns; 2, "Senegal", 14; 3, "Martin", 10; 4, "Glasgow", 20; 5, "Mermaid", 28; 6, "Romney", 50; 7, "Launaston", 40; 8, "Bonetta", 10.
Revere also engraved a large copperplate of the same event, which is given in heliotype fac-simile, on different scales, in the Boston Evacuation Memorial (p. 18) and Mem. Hist. of Boston (ii. 532). Cf. also Gay's Pop. Hist. U. S., iii. 356; Dearborn's Boston Notions, 126, etc. The same view of the town was again used by Revere, but extended farther south, in a cut in the Royal American Mag. (1774), which is given in fac-simile in the Mem. Hist. of Boston, ii. 441. There is also a water-color mentioned in Mass. Hist. Soc. Proc., 2d ser., ii. 156. On Revere as an engraver, see W. S. Baker's American Engravers, Philad., 1875, and the list in N. E. Hist. and Gen. Reg., 1886, p. 204.
In Sept. (dated 14th) the selectmen of Boston sent a circular to the other towns, calling a convention (Boston Rec. Com. Rept., xvi. 263) to consider the declaration of Bernard "that one or more regiments may soon be expected in this province" (original broadside in Mass. Hist. Soc., Misc. MSS., 1632-1795). It is printed and explained in that society's Proceedings, iv. 387. The convention sat from Sept. 22d to 29th. On the 30th, in the early morning, the British fleet took soundings along the water-front, and in the afternoon a number of war-ships came up from the lower harbor and anchored with springs on their cables. On Oct. 1st the landing took place. The news spread through the land, and the irritation was increased. (Cf. Mass. Hist. Soc. Proc., xx. 9; Barry, Mass., ii. 370; Loring, Boston Orators, 75; Franklin's Works, vii. 418.)
The question of the expense of quartering troops had been raised by Massachusetts and New York in 1767 (Hutchinson, iii. 168), and a letter of Gage on the subject is in the Shelburne Papers, vol. li. (Hist. MSS. Com. Rept., v. 219). Cf. Hillsborough to Governor Franklin in N. J. Archives, x. p. 12. The message of the Assembly to Bernard, praying for their removal (May 31, 1769), is in Hutchinson (iii. App. 497).
A contemporary vindication of the movement, and of Herman Husband, the leader, bringing the history of the commotions down to 1769 only, evidently based on material furnished by Husband, was printed in Boston in 1771.[205] Husband himself seems, during the preceding year, to have printed anonymously, giving no place of publication, a narrative of his own, fortified[82] by the letters of Tryon and others, with the remonstrances and counter-statements.[206]
This cut from Nathaniel Ames's Astronomical diary or Almanack, 1772, Boston, is inscribed "The Patriotic American Farmer, J-n D-k-ns-n, Esq., Barrister-at-Law, who with Attic Eloquence and Roman spirit hath asserted the liberties of the British Colonies in America." Cf. Scharf and Westcott's Philadelphia, i. 276.
C. W. Peale's portrait of Dickinson (1770) was engraved by I. B. Forrest. Cf. Catal. of Gallery of Penna. Hist. Soc. (1872), no. 161; Lossing's Field-Book, i. 476.
On Dickinson's influence, see "The great American essayist" in the Mag. of Amer. Hist., Feb., 1882, p. 117; Sept., 1883, p. 223; Read's Life of George Read, 49, 79; Wells's Adams, ii. 38; Quincy's Josiah Quincy, Jr., 104; Green's Hist. View, 370; Lossing's Field-Book, i. 476. Cf. letters of Dickinson in Mem. Hist. Boston, iii. 22; Lee's Life of A. Lee, ii. 293, 296, etc.
The most conspicuous presentation of the American side in 1768 were the famous Farmer's[83] Letters, as they were usually called, of John Dickinson.[207]
Some of the most important of the documents of the Boston patriots were printed in London under the supervision of Thomas Hollis, long a devoted friend of the colonists.[208]
During 1768 and 1769 we find record of the workings of political sentiments in the colonies in abundant publications.[209]
The most important development in 1769 came from some letters which had been addressed by Governor Bernard and General Gage to the ministry, and to which, in the exercise of his rights as a member of Parliament, Alderman Beckford had obtained access and taken copies, subsequently delivered by him to Bollan, who transmitted them to Boston, where they were at once printed. From these letters the public learned of the urgency which the governor had used with the government to induce it to institute[84] more stringent measures of repression.[210]
The publication of these letters led to the printing of An appeal to the world; or a vindication of the town of Boston, from many false and malicious aspersions contain'd in certain letters and memorials, written by Governor Bernard, General Gage [etc.]. Published by order of the town (Boston, 1769),[211] and induced also a letter to the Earl of Hillsborough.[212]
WILLIAM LIVINGSTON.
Fac-simile of the engraving in Sedgwick's Life of William Livingston. Cf. Lossing's Field-Book, i. 330.
There are in the Sparks MSS. (no. xx.) copies of annotations which Franklin, then in London,[85] made on the margins and fly-leaves of sundry pamphlets, which just at this time were engaging attention in London, and these comments show how the struggle was regarded by a mind of Franklin's astuteness, amid the influences of the British capital. Sparks printed parts of these annotations in his Familiar letters and miscellaneous pieces by Dr. Franklin, and again in his edition of Franklin, vol. iv.[213] Some letters which passed between Franklin and William Strahan in 1769 are also of great interest.[214]
The Boston Massacre of March, 1770, was the violent culmination of prevailing passions, and was in a measure induced by the sacrifice of life which resulted from the boarding by a press-gang from the "Rose" frigate of a ship belonging to Hooper, of Marblehead,[215] and by the riotous proceedings which, in Jan., 1770, brought about the death of the boy Snider.[216] Soon after the affray of March, the town of Boston published a Short Narrative of the Horrid Massacre in Boston (Boston, Edes and Gill, 1770),[217] which depicted the condition of the people at the time, and gave an appendix of depositions, including one of Jeremy Belknap.[218] Copies were sent to England at once,[219] but the rest of the edition was kept back till after the trial, when "Additional Observations" were appended.[220] The volume, thus completed, was reprinted in New York in 1849, with notes and illustrations by John Daggett, Jr.;[86] and again in Frederick Kidder's History of the Boston Massacre (Albany, 1870), which is the most considerable monograph on the subject.[221]
FROM BICKERSTAFF'S BOSTON ALMANAC, 1769.
This song was written by John Dickinson, with some assistance from Dr. Arthur Lee, and was sent (printed in the Penna. Chronicle, July 4, 1768) by Dickinson from Philadelphia to Otis, accompanied by a letter dated July 4, 1768. It was sung to the tune "Hearts of Oak", and was made conspicuous in Boston by being sung at Liberty Hall and the Greyhound Tavern in Aug., 1768. It had been reprinted in the Boston Gazette, July 18th. An amended copy, "the first being rather too bold", was given in the Penna. Chronicle July 11th. In September it appeared as a broadside, with the music. Edes and Gill's Almanac, in reprinting it in 1770, says it is "now much in vogue in North America." (Cf. Tudor's Life of Otis, pp. 322, 501; Moore's Songs and Ballads of the Rev., p. 37; Drake's Town of Roxbury, p. 166; Mem. Hist. of Boston, iii. p. 131.)
A parody appeared in the Boston Gazette, Sept. 26, 1768 (Moore, p. 41). This parody gave rise to the "Massachusetts Song of Liberty", which is given in Edes and Gill's Almanac (1770), as well as in Bickerstaff, under the full title of The Parody parodized, or the Massachusetts Liberty Song. It has been ascribed to Mrs. Mercy Warren. (Cf. Moore, p. 44; Lossing, Field-Book of the Rev., i. 487.) The Almanac (Edes and Gill) of 1770 also contains "A new Song composed by a Son of Liberty and sung by Mr. Flagg at Concert Hall, Boston, Feb. 13, 1770."
A stenographic report was made of the trial of Preston, and sent to England, but it has never been published.[222]
The trial of eight of the soldiers took place Nov. 27, 1770, and John Hodgson,[223] the stenographer of the earlier trial, made a Report, The trial of William Wemms, ... published by permission of the Court (Boston, 1770),[224] which gives the evidence and pleas of counsel, and a report of the trial of Edward Manwaring and others, accused of firing on the crowd from the windows of the custom-house. They were acquitted.[225][87]
FROM BICKERSTAFF'S BOSTON ALMANAC, 1770.
PART OF INSTRUCTIONS TO BOSTON REPRESENTATIVES, MAY 15, 1770.
The original draft of these instructions, in the handwriting of Josiah Quincy, Jr., is among the Quincy MSS. in the cabinet of the Mass. Hist. Society. This is a reproduction of the last page, showing the signatures of Richard Dana and of Cooper, the town clerk.
The principal statement on the government side was A Fair Account of the late unhappy disturbance at Boston, extracted from the depositions that have been made concerning it by persons of all parties, with an appendix containing affidavits and evidences not mentioned in the narrative that has been published at Boston (London, 1770).[226] This Fair Account contained a deposition of Secretary Andrew Oliver, tending to show that the soldiers were justifiably defending themselves; and making public the doings of the governor's council thereupon. This "breach of a most essential privilege" excited animadversion, and the council censured Oliver.[227] The purport of the English presentations is to show that the soldiers did not fire till duly provoked by assaults, and the more candid American writers, like Ramsay, Abiel Holmes, Hildreth, and others, seem to allow this.[228]
Bancroft (orig. ed., vi. 347) has a long note on the evidence about the provocation and first assault. He gives ten reasons for thinking Preston gave orders to fire, and six reasons for thinking the provocation was not sufficient to justify the firing. The evidence in this form is omitted in the final revision of Bancroft.
The anniversary of the Massacre was observed in Boston till the struggle for Independence was passed, and a series of annual orations commemorates the continued and aroused feelings of the people.[229]
The appendix to the third volume of Hutchinson's History records the sparring of Hutchinson and the legislature during the next six months.[230]
The list of Haven in Thomas (ii. 606) gives the American tracts published in 1770; but the more significant ones of the year appeared in London.[231]
The year 1771 was less eventful. In England, it seemed for a while as if the worst had passed. W. S. Johnson had written at the close of the preceding year (Dec. 29, 1770), "The general American controversy is at present looked upon here as very much at an end."[232] Franklin had been made the agent for Massachusetts;[233] he was still putting tersely to his correspondents the American view of the controversy,[234] and he had a conference with Hillsborough.[235]
Hutchinson in March had succeeded to the governor's chair, with reluctance, as he professed.[236] The American tracts may be gleaned in Haven's list.[237]
The events of 1772 are of more interest. The Boston patriots emphasized their arguments in their instructions to their representatives in May.[238] Later (July 14th) they passed a remonstrance against taxation and sent it to the king.[239]
Note.—The annexed cut is part of a handbill in the library of the Mass. Hist. Society.
There are diverse views as to the originator of the committees of correspondence. Gordon's opinion (i. 312) that James Warren was the instigator was adopted by Marshall, but is held by Bancroft (vi. 428) to be erroneous. John Adams gave the first movement to Samuel Adams.[240] One of the first-fruits of the committee, as a provincial measure, was the report drafted by Samuel Adams (Nov. 2, 1772), which was printed[90] as the Rights of the Colonies.[241] The vote passed by Virginia, March 12, 1773, was the immediate cause of intercolonial activity.[242]
The seizure and destruction of the revenue vessel Gaspee in Narragansett Bay, June 10, 1772, is considered by Rhode Island writers as the earliest aggressive conduct of the patriots. John Russell Bartlett,[243] in the R. I. Colonial Records (vol. vii. pp. 57-192), gathers all the documentary evidence, and this was in 1861 published separately as A History of the Destruction of his Britannic Majesty's Schooner Gaspee ... accompanied by the Correspondence connected therewith; the action of the General Assembly of Rhode Island thereon, and the official journal of the ... Commission of Inquiry appointed by King George III.[244]
Early in 1773 the patriots of Boston produced what is called "the most elaborate state paper of the Revolutionary contest in Massachusetts." This is the reply of the House of Representatives to the governor in the contest then waging with him.[245]
The act which included the duty on tea had passed Parliament June 29, 1767, and in March, 1770, it had been repealed, except, in order to maintain the theoretical right of Parliament to tax, the tax on tea had been retained in force. Pownall[246] had exerted his utmost to make the repeal include tea. The test was deferred till[91] it was announced[247] that the East India Company was assisted by government in sending over a surplus of tea which they had. A series of impassioned gatherings in Boston, and demonstrations not so boisterous in the other colonies, led to the destruction of the tea in Boston harbor, and elsewhere resulted in the transshipment of the tea whence it came.[248]
A BOSTON WARNING.
After an original in the Mass. Hist. Society.
A PHILADELPHIA POSTER.
After an original in the library of the Pennsylvania Hist. Society.
Another significant event of 1773 was the episode of the Hutchinson letters. They had been written (1767-1769), from Boston, to Thomas Whately, and came, after the latter's death (June, 1772), by some unknown means, into Franklin's hands. When Cushing[249] and the patriots printed them,—for the rumor of their existence led the "people abroad" to compel their publication,[250]—Franklin made no complaint, and bore with reserve the defamation which was visited upon him in England, and which is still repeated by later English writers,[251] Franklin finally prepared a statement in vindication, but it was not published till Temple Franklin printed his edition of Franklin's Works.[252] The letters were printed without any indication of Franklin's connection with them; but when a duel grew out of the publication, in which a brother of Whately was wounded by Mr. Temple,[253] who had been accused of purloining the letters, Dr. Franklin, to prevent a further meeting, published a note in the Public Advertiser, acknowledging his agency.[254] Sparks appends a note in his edition,[255] in which he refutes the claim of Dr. Hosack (Biographical Memoir of Dr. Hugh Williamson, 1820) that Williamson had been the medium of transmitting the letters.[256]
Mr. R. C. Winthrop, in discussing the question,[257] introduces a paper of George Bancroft, "Whence came the papers sent by Franklin to[94] Cushing in his letter of Dec. 2, 1772?" Bancroft's conclusion is that Whately sent the letters to Grenville (who died Nov. 13, 1770), and they were found among his papers, and through some agency or consent of Temple passed into Franklin's hand.[258]
QUINCY'S DEDICATION.
This is the original draft of the dedication to Quincy's tract on the Port Bill, the MS. of which is among the Quincy MSS. in the cabinet of the Mass. Hist. Society. Its full title is Observations on the act of parliament commonly called the Boston port-bill; with thoughts on civil society and standing armies (Boston, 1774; Philad., 1774; London, 1774. It is reprinted in the Life of Josiah Quincy, Jr. Cf. Sabin, xvi. 67,192, etc.)
The letters, when laid before the Massachusetts Legislature, produced some resolutions[95] (June 25, 1773),[259] followed by a petition to the king,[260] asking that Hutchinson and Oliver might be removed from office. This led to the presence of Franklin before the Privy Council, and the attack on Franklin's character by Wedderburn.[261]
THE QUINCY MANSION.
After a water-color painted by Miss Eliza Susan Quincy in 1822. The house was built in 1770, by the father of the patriot, Josiah Quincy, Jr. The original sketch is among the Quincy MSS. in the Mass. Hist. Soc. cabinet. Cf. cut in Appleton's Journal, xiv. 161. Of Josiah Quincy, Jr., there was an engraving made in his lifetime, which was held to be a good likeness, and from this, and with the family's assistance, Stuart, fifty years after Quincy's death, painted the picture which is engraved in the Mem. Hist. Boston, iii. 37.
HEADING OF A HANDBILL
Fac-simile of the top portion of an original broadside in Mass. Hist. Society's library. The bills were that for the impartial administration of justice, and that for better regulating the government of the province of Massachusetts Bay.
The earliest significant movement in 1774 was the impeachment of Peter Oliver, chief justice, and younger brother of the late lieutenant-governor, for receiving his salary from the crown,—the controversy respecting the governor and other officers being thus made independent of the people, having been one which had been active for two years past.[262]
Gen. Gage had landed in Boston May 17th, to put in force, June 1st, what is known as the Boston Port Bill (approved March 31, 1774), or An Act to discontinue, in such manner, and for such time as are therein mentioned, the landing and discharging, lading or shipping, of goods, wares, and merchandise, at the town, and within the harbour of Boston, in the province of Massachuset's Bay, in North America.[263]
While Salem and Marblehead were thus made chief ports of entry, the commerce of Boston was suddenly checked, and the town was forced to a dependence for succor upon other towns and other colonies.[264]
The effect of the measures on the other colonies was instant and widespread.[265]
One of the immediate results in Massachusetts because of these oppressive acts was a retaliatory "Solemn League and Covenant" agreed upon in the provincial assembly,—a combination made more or less effectual by the active agency of Boston and Worcester in issuing[97] broadsides against the use of imported British goods.[266]
In July, 1774, close upon his arrival in London, Hutchinson held an interview with the king, and set forth his opinions of the condition of affairs in the colonies.[267]
In August, 1774, Gage received the two acts mentioned in the annexed fac-simile of a handbill.[268]
It is claimed by Dawson[269] that the movements of 1774 in New York Were precipitated by the merchants and their adherents, "aristocratic smugglers", who formally organized themselves in May, 1774; and it was on the 6th of July that Alexander Hamilton made his stirring appeal at "the great meeting in the fields."[270] Further south a similar spirit prevailed.[271]
HANDBILL.
Fac-simile of an original in the library of the Mass. Hist. Society, where is another, dated Sept. 2, 1774, quoting this, and including an address by Gen. Brattle to the public, deprecating the current belief that his action in writing that letter was inimical to the cause. Cf. H. Stevens's Catal. (1870), no. 261. See on this mater John Andrews's diary in Mass. Hist. Soc. Proc., viii. 351, 354.
The question of originating the Congress of 1774 is one upon which there has been some controversy. It seems evident that the first proposal for a congress for general purposes was in a vote of Providence, R. I., May 17, 1774.[272] Cushing of Massachusetts and Dr. Franklin appear[99] to have exchanged views on the subject in 1773.[273] Hancock seems to have suggested a congress in March, 1774.[274] In May the Sons of Liberty in New York formally proposed a Congress.[275] A resolution of the Massachusetts House of Representatives, June 17th, looked towards one, and similar action took place in the House of Burgesses in Virginia.[276]
The Congress opened with a concession of the New England members, when Samuel Adams proposed the Episcopalian Duché for chaplain.[277] John Adams tells how the scheme of the Congress struck him,[278] and we learn from him something of the appearance and bearing of an assembly, where the "Tories were neither few nor feeble", and the political feelings were far from being in unison. "One third Whigs, another Tories, the rest mongrel", he says.[279] Franklin thought that only unanimity and firmness could conduce to any good effect from it.[280]
For the local feeling in Philadelphia and among the members assembled there at the[100] time, see John Adams's diary, Ward's diary,[281] and Christopher Marshall's diary.
The original edition of the Journal of the Proceedings of the Congress held in Philadelphia, Sept. 5, 1774 (Philad., 1774), bore the earliest device of the colonies, twelve hands grasping a column based on Magna Charta, surmounted by a liberty cap with the motto Hanc tuemur.[282]
What we know of the debates, apart from the proceedings, is chiefly derived from some brief notes by John Adams.[283]
The Congress put forth a Declaration of Rights, and a draft of it is preserved in a hand thought to be that of Major Sullivan, of New Hampshire. Wells (Sam. Adams, ii. 234) thinks that Samuel Adams had a hand in it, as it resembles the pamphlet issued by the Boston Committee of Correspondence in 1772. The original draft of it, with the final form, is given in the Works of John Adams,[284] who claimed the authorship of article iv.
The petition of Congress to the king was drafted by John Dickinson.[285] It was signed in duplicate, and both copies were successively sent to Franklin, one of which is in the Public Record Office, and the other, retained by Franklin, is among the Franklin MSS. in the library of the Department of State at Washington.[286]
The petition to the king was first printed in London by Becket in Authentic Papers from America, submitted to the dispassionate consideration of the public (London, 1775). This produced a card (Jan. 17, 1775) from Bollan, Franklin, and Arthur Lee, calling the copy of the petition "surreptitious as well as materially and grossly erroneous" (Sparks Catal., p. 84).
It is sometimes said that R. H. Lee, and sometimes that John Jay, wrote the "Address to the People of Great Britain" which the Congress adopted.[287] They also passed a "Memorial to the inhabitants of the colonies."[288]
On the 9th of September the people of Boston and the neighborhood met outside the limits of the town, and passed a paper, drawn up by Joseph Warren, more extreme and less dignified than was demanded, known as the "Suffolk Resolves",[289] and this was transmitted to the Congress, where, when the Resolves were[101] read, as John Adams says, there were tears in the Quaker eyes. Jones[290] says that the loyalists had joined the Congress to help in claiming redress for grievances, but that the approval of these Resolves rendered their continuance with the Congress in its measures impossible. Hutchinson[291] says that when the Resolves were known in England, they were more alarming than anything which had yet been done.[292]
On Sept. 28th Joseph Galloway introduced his plan of adjustment, calling for a grand council to act in conjunction with Parliament in regulating the affairs of the colonies. The scheme was finally rejected by a vote of six colonies to five, after having allured many of the leading men to its support.[293]
The Congress, Oct. 20th, adopted the Articles of Association, pledging in due time the country to non-importation, non-exportation, and non-consumption, so as to sever completely all commercial relations with England.[294]
In the summer of 1774 the British Parliament had, after some opposition, passed what is known as the "Quebec Bill", restoring the old French law in the civil courts of Quebec, securing rights to the Catholic inhabitants, and extending the limits of that province south of Lake Erie as far as the Ohio.[295]
CONGRESS OF 1774.
The debates[296] in Parliament caused much diversity of opinion, and gave rise to a number of pamphlets.[297] The Congress of 1774 sought to counteract this action by an address to the inhabitants of Quebec, which was distributed both in English and French.[298]
Pownall in London told Hutchinson that every step of the Congress was known to the ministry.[299] We know that Dartmouth, probably through Galloway, received accounts of the temper of the delegates,[300] and that Joseph Reed was in communication with Dartmouth at the time.[301]
The revolutionary measures advocated by the Congress were far from receiving general acceptance,[302] and in New York they elicited some sharp and vigorous controversial pamphlets.[303] It was the general opinion at the time that Samuel Seabury was the author of two of the ablest of these tracts, though the claims for their authorship are now divided between Seabury and Isaac Wilkins, while each may have assisted the other in a joint production[304] which rendered at this time the name of a "Westchester Farmer" famous.[305]
JOSIAH QUINCY'S DIARY.
This is reproduced from a page of the diary of Josiah Quincy, Jr., which was kept while he was in London in 1774. It is the beginning of his description of an interview with Lord North. The original diary is among the Quincy MSS. in the cabinet of the Mass. Hist. Society. Quincy had sailed from Salem Sept. 28, 1774, and was not averse to having the Tories think that he was going for his health; but Gage seemed to have had a suspicion that about this time somebody was going over with bad designs (P. O. Hutchinson, 296). We learn from the same source (p. 301) that North thought his interviewer was "a bad, insidious man, designing to be artful without abilities to conceal his design",—a view that Hutchinson no doubt had helped the minister to form. With Quincy's spirit, we can imagine how North's warning that there must be submission before reconciliation would be taken. There was some suspicion also that Quincy was making observations upon Franklin to discern how far that busy genius could be trusted. Franklin seems to have satisfied him, and on his homeward voyage Quincy dictated to a sailor the report to the patriots that he had every reason to fear he would not live to deliver in person, as indeed he did not. It is preserved, and printed in his Life, where will be found his journal kept in London. Joseph Reed's letters to him, while in London, are in The Life of Joseph Reed, i. 85, etc. Quincy made out lists in London of the friends and foes of America among the merchants. Cf. letter of William Lee, April 6, 1775, in Sparks MSS., xlix. vol. ii.
Another leading Tory writer at this time was Dr. Myles Cooper, the president of King's College, who was as sharply assailed for his Friendly Address[306] as the "Westchester Farmer" was.
Something of an official character belongs to A true state of the proceedings in the Parliament of Great Britain, and in ... Massachusetts Bay, relative to the giving and granting the money of the people of that province, and of all America, in the House of Commons, in which they are not represented (London, 1774), for Franklin is said to have furnished the material for it, and Arthur Lee to have drafted it.[307]
One of the most significant of the American tracts of 1774 was John Dickinson's Essay on the constitutional power of Great Britain over the colonies in America.[308]
The journals of the provincial congress of Massachusetts (1774-1775) are in the Mass. Archives (vol. cxl.), and have been printed as Journal of each Provincial Congress of Mass. 1774-75, and of the Com. of Safety, with an Appendix (Boston, 1838). The proceedings of the session of Nov. 10, 1774, were circulated in a broadside.
In England we have the debates of Parliament, such correspondence as is preserved, and the records of passing feeling, to help us understand the condition of public opinion.[309]
The Assembly of New York met in January, 1775. Dawson contends that the usual view of the loyal element controlling its action is not sustained by the facts, and that in reality neither patriot nor Tory was satisfied with its action.[310]
The feeling in Virginia is depicted in Giradin's[107] continuation of Burk's Virginia (which was written under the cognizance of Jefferson), in Rives's Madison, and in Wirt's Patrick Henry.[311]
LORD NORTH.
From Murray's Impartial History of the Present War, i. 96. Cf. London Mag. (1779, p. 435) for another contemporary engraving.
The Congress of 1775 met in Philadelphia, May 10th. Quebec had been invited to send delegates.[312] Lieut.-Gov. Colden kept the majority of the New York Assembly from sending delegates.[313] John Hancock was chosen president, May 24th.[314]
The proceedings are given in the Journals of Congress.[315]
Perhaps the best expression of argumentative force on both sides was reached in the controversy waged by John Adams against Jonathan Sewall, as he always supposed, but in reality against Daniel Leonard, of Taunton, as it has since been made evident.[316]
CHATHAM.
From the title of Bickerstaff's Boston Almanac for 1772,—the common popular picture of him. Cf. the head in Gentleman's Mag., March, 1770.
In 1768, Edmund Jennings of Virginia, being in London, and seeking, probably unsuccessfully, to get a portrait of Camden for some "gentlemen of Westmoreland County" who had subscribed for that purpose, contented himself with commissioning young "Peele, of Maryland", then in London, to make a picture of Chatham, following "an admirable bust by Wilton, much like him, though different from the common prints." Jennings presented it to R. H. Lee in a letter dated Nov. 15, 1768, and the Virginia Gazette of April 20, 1769, says it had just arrived. The picture was placed in Stratford Hall, Lee's house, but was transferred to the Court-House of Westmoreland in 1825, or thereabouts. In 1847 it was transferred to the State of Virginia, and placed in the chamber of the House of Delegates in Richmond, where it now is. It represents Chatham "in consular habit, speaking in defence of American liberty." Cf. Va. Hist. Reg., i. p. 68; Richmond Despatch, Sept. 26, 1886. There is an engraving of Hoare's portrait of Chatham, representing him sitting and holding a paper, given in fac-simile in Mag. of Amer. Hist., Feb., 1887. On the statue of Pitt at Charleston, S. C., see Mag. of Amer. History, viii. 214. For medals, see account by W. S. Appleton in Mass. Hist. Soc. Proc., xi. 299. D'Auberteuil, in his Essais, ii. 93, gives a curious picture of Pitt in Parliament on crutches, with more gout in his features than in his legs. Cf. Doyle's Official Baronage, i. 359.
One of the most powerful pleas for conciliation was made in Richard Price's Observations on the nature of civil liberty ... and the justice and policy of the war with America (London, 1776, in six editions, at least; Boston, 1776, etc.).[317]
DR. PRICE.
From the London Magazine, May, 1776 (p. 227). "Published by R. Baldwin, June 1, 1776."
For the mutations and progress of opinion in England at this time we may follow Bancroft (orig. ed., vol. viii.) and Smyth (Lectures, nos. 31-33), and the latter compares the expressions of this progress as recorded in Ramsay and the Annual Register.[318]
For the aspects of political leadership in Parliament during 1775-76, and the struggles in[112] debates, see the Parliamentary History and the Amer. Archives,[319] and we may offset among the general histories the Tory sympathies of Adolphus (England, ii. ch. 24) with the liberal tendencies of Massey (Hist. of England), but the lives of the principal leaders bring us a little nearer to the spirits of the hour.[320]
During 1775 Franklin in London was maintaining his correspondence with his American friends,[321] and conferring with Chatham upon plans of conciliation,[322] and discussing the ways of compromise with Lord and Lady Howe.[323]
THE CONFLICT PRECIPITATED.
BY JUSTIN WINSOR,
The Editor.
"YOU must be firm, resolute, and cautious; but discover no marks of timidity", wrote one from London to James Bowdoin, February 20, 1774.[324] Firm, resolute, cautious, but bold! This was the impelling spirit of the hour. Hutchinson was at the same time writing to Dartmouth that anarchy was likely to increase, till point after point was carried, and every tie of allegiance was severed.[325] Indications were increasing that the conflict of argument and the burst of political passion were before long to give way to the trial of force, and to the inevitable severing of friends which a resort to arms would entail. All this was prefigured on the first of June, 1774, when Hutchinson, bearing with him the addresses of his admirers,[326] left his house on Milton Hill forever, and walked along the road, bidding his neighbors good-bye at their gates; when, as he approached Dorchester Neck, he got into his carriage, which had followed him, and was driven to the point, where he took boat, was conveyed to a frigate, and in a short time was passing out by Boston light, leaving behind the line of ships at their moorings, which, with shotted guns, marked the beginning of the Boston blockade. That severing of friends and that threat of war was at that moment, away off in Virginia, accompanied by the tolling of bells out of sympathy for Boston. The Massachusetts yeomanry had not yet openly seized the musket, but their tribune, Sam. Adams, a few days later, turned the key upon the governor's secretary in Salem, when that officer was sent to dissolve the assembly. It was then that Adams and his associates proceeded to pass votes, with no intention of submitting them to the executive approval,—the beginning of the end, which we have seen Hutchinson[114] but a few months before had anticipated. Between the upper and the nether mill-stone, between the patriots of Massachusetts and the Tories of Parliament, the charter of William and Mary was rapidly crushed. Parliament determined that all power should come from them, and the province leaders determined otherwise. So the distribution of authority provided under the charter ceased. The rival powers in and around Boston could not long abstain from force. Each watched the other, in the hopes of a pretext to be beforehand, without being the aggressor.
On the first of July, 1774, when Hutchinson, in London, was convincing the king that the ministry's aggressive measure was going to bring the recalcitrant Bostonians to terms, Admiral Graves, in his flag-ship, was entering Boston harbor, and new regiments soon followed in their transports. Presently one could count thirty ships of war at their moorings before the town, and the morning drum-beats summoned to the roll-call strong garrisons at Castle William, in Boston itself, and at Salem, now the capital. It was known that arms were stopped, if any one tried to carry them from Boston; and it soon became evident to Gage that it was best to concentrate his force, for he removed his headquarters from Danvers[327] to Boston, and thither his two regiments followed him. Perhaps he had heard of the enthusiasm of a certain young officer, whom he had seen twenty years before, saving all that was saved, on Braddock's bloody day; and how, surviving for the present crisis, he had just declared, in distant Virginia, that he was ready to raise, subsist, and march a thousand men to Boston. Gage must have known George Washington quite as well as the Bostonians did, who were, it is to be feared, better prepared on their part to look upon Israel Putnam, as he marched into town from Connecticut with a drove of sheep for the hungered populace, as a greater hero than the Virginian colonel.
September came in, and it did not look as if the conflict could be put off longer.[328] On the first of that month Gage sent a detachment to the Powder House beyond Quarry Hill, in the present Somerville, and it brought away ammunition and cannon and took them to the castle.
NOTICE OF THE COMMITTEE OF CORRESPONDENCE.
From an original in the volume of Proclamations, etc., in the library of the Mass. Hist. Society.
News of the inroad spread, and on the next day crowds gathered in Cambridge with arms in their hands. They assembled before Lieutenant-Governor Oliver's house[329] and forced him to resign. Joseph Warren, in Boston, heard of the tumult and hastened to the spot. His influence prevailed, and the sun went down without the shedding of blood. It was ominous, however, to Gage, and he set to work rebuilding the old lines across Boston Neck, and constructing barracks. He soon encountered difficulties. Somehow laborers could not be hired, nor provisions be bought. Somehow his freight-barges sunk, his carts of straw got on fire, his wagons were sloughed; and somehow, with all his vigilance, a few young men made up for the loss of the powder-house pieces by stealthily carrying off by night some cannon from Boston,[330] besides some others from an old battery in Charlestown. It[116] was soon found that the men on the Neck lines needed protection, and Admiral Graves tried to send up a sloop of war into the South bay to enfilade the road from Roxbury, if occasion came; but her draught was too much, and so he employed an armed schooner. By November the works were finished. Warren thought them as formidable as Gage could make them, but the old Louisbourg soldiers laughed at them and called them mud walls.
Meanwhile, in October, the military spirit was taking shape throughout the province. On the 5th the legislative assembly, which had met at Salem on Gage's call, though he sought to outlaw them by rescinding (September 28) his precept, had declared his attempted revocation without warrant in law, and had resolved itself into a provincial congress. The body then adjourned to meet in Concord, where, under John Hancock's presidency, they appointed a Committee of Safety to act as the executive of the province, and chose three general officers,—Preble,[331] Ward, and Pomeroy. The militia was organized, and minute-men were everywhere forming into companies. Gordon tells how the country was astir with preparations. Connecticut was not far behind in ordering her militia to be officered, and in directing her towns to double their stock of ammunition, while she voted to issue £15,000 in paper money,—the first of the war.
"An armed truce", wrote Benjamin Church, "is the sole tenure by which the inhabitants of Boston possess life, liberty, and property." Away from Boston, the towns made common cause. "Liberty and Union" was to be read on a flag flying in Taunton. When news of these and similar events reached England, Lord North told Hutchinson that, for aught he could see, it must come to violence, with consequent subjection for the province.[332] When such tidings reached Virginia it found her officers just sheathing their swords after their conflict with the Indians in the mountains, and resolving next to turn their weapons against the oppressors of America. Gage, in Boston, whom Warren really felt to be honest and desirous of an accommodation, was awaking to a juster measure of the task of the ministry, which might, he said, require 20,000 troops to begin with. As he pondered on such views, he might have heard, on the evening of the 9th of November, 1774, the ringing of the bells which greeted the return of Sam. Adams and his colleagues from the Philadelphia congress. Shortly after the middle of the month the British in Boston went into winter quarters.[333] So November passed;—the Committee of Safety had arranged[117] to raise and support an army, and the recommendation of the Continental Congress had been approved.
December came. Boston was not yet burned, as some in London believed it was when Quincy heard them laying wagers in the coffee-houses,[334] and if Sam. Adams was not the first politician in the world, as others told the same ardent young Bostonian, he was sharing conspicuous honors at home, with his distant kinsman, John Adams. The latter, as Novanglus, in his public controversy with the unknown Massachusettensis, was just attracting renewed attention. But that sturdy patriot, while he was arguing in public, was comforting himself in private by reckoning that Massachusetts could put 25,000 men in the field in a week; and New England, he counted, had 200,000 fighting men, "not exact soldiers", he confessed, "but all used to arms."[335] Tidings were coming in which told how this warlike spirit might be tested. Governor Wanton, of Rhode Island, had spirited away from the reach of the British naval officers forty-four cannon, which were at Newport. Paul Revere had gone down to Portsmouth and harangued the Sons of Liberty, till they invaded Fort William and Mary and (December 14, 1774) carried off the powder and cannon.[336] From Maryland, where they had lately been burning a tea-ship,[337] the word was that its convention had ordered the militia to be enrolled. From Pennsylvania it appeared that Thomas Mifflin was conspicuous among the Quakers in advocating the measure of non-intercourse. From South Carolina the news was halting. Could her rice-planters succeed in getting their product excepted from such a plan? They did. Gage had some time before[338] written to Dartmouth that they were as mad in the southern Charlestown as in northern Boston; and when one of their Tory parsons had intimated that clowns should not meddle with politics, they had been as fiery as they could have been in Massachusetts.[339] Gordon, of Jamaica Plain, in appending notes to a sermon which he had just preached on the Provincial Thanksgiving of December 15, 1774, refers to the brave lead of Virginia in the present time, as nine years before she had been foremost in the stamp-act time.[340] Governor Dunmore was reporting to Dartmouth (December, 1774) that every county in Virginia was arming a company of men, to be ready as occasion required.
John Adams, at Philadelphia, read to Patrick Henry from a paper of Joseph Hawley, that the result of the action of the ministry rendered it necessary to fight. "I am of that man's opinion", replied the ardent[118] Virginian.[341] With the new year (1775) that opinion was becoming widespread. Ames' Almanac (1775), published in Boston, was printing, for almost every family in New England to read, "a method for making gunpowder", so that every person "may easily supply himself with a sufficiency of that commodity." Day by day news came to Boston from every direction of the indorsement of Congress, and of the wild-fire speed of the dispersion of the military spirit. Those who remembered the 40,000 men who marched towards Boston at the time of the D'Anville scare, thirty years before, said the enthusiasm then was nothing like the present. Somehow Gage began to feel more confident. He had in January 3,500 men in his Boston garrison, and almost as many more were expected, and he did not hesitate to send (January 23) Captain Balfour and a hundred men, with two cannon, to Marshfield, to protect the two hundred loyalists there, who had signed the articles by which Timothy Ruggles was hoping to band the friends of government together, and the reports which Balfour sent back seemed to satisfy the governor that the measure was effective.[342]
On the first of February, 1775, the second provincial congress assembled at Cambridge, and they soon issued a solemn address to the people, deprecating a rupture, but counselling preparations for it.[343] It was not then known that Gage had won over Dr. Church, and that through this professing patriot the British headquarters in Boston were informed of the doings of congress. Church's defection encouraged the tories, and on the 6th, handbills appeared in Boston, reminding the patriots of the fate of Wat Tyler.[344] A few days later Cambridge was alarmed by the report that troops were coming out of Boston to disperse them; but the day passed without the proof of it. The Committee of Safety were anxious, for they knew that the other colonies and their friends in England were fearful that the conflict would be precipitated without the consent of congress; and the authority of congress was now so dominant that its cognizance of such measures was essential to the continuance of the sympathy with Massachusetts which now existed. No one at this time was more solicitous for this prudent measure than Joseph Hawley, and no one in Massachusetts had a steadier head. On the 18th Peter Oliver wrote from Boston to London: "Great preparations on both sides for an engagement, and the sooner it comes the better."[345] "Every day, every hour widens the breach!" wrote Warren to Arthur Lee, two days later.[346] Already the provincial congress had conferred on the Committee of Safety (February 9) the power to assemble[119] the militia, and John Thomas and William Heath had been added to the general officers. The committee, on the 21st, had voted to buy supplies for 15,000 men, including twenty hogsheads of rum. On the same day Sam. Adams and Warren signed a letter to the friends of liberty in Canada, and secret messengers were already passing that way. Presently, on the 26th, the impending conflict was once more averted.
Colonel David Mason, of Salem, had been commissioned by the Committee of Safety as an engineer, and was now at work in that town mounting some old cannon which had been taken from the French. Gage heard of it, and by his orders a transport appeared at Marblehead, with about 300 men under Lieutenant-Colonel Leslie, who rapidly landed and marched his men to Salem. Their purpose was seasonably divined; the town was aroused, and, in the presence of a mob, the commander thought it safer to turn upon his steps.[347] A British officer, Colonel Smith, with one John Howe, was at about the same time sent out in disguise to scour the country towards Worcester, and pick up news for Gage;[348] and two others, Brown and Bernière, were a few weeks later prowling about Concord.[349] The patriots did not scour for news. It came in like the wind,—now of county meetings, now of drills, now of Colonel Washington's ardor in Virginia, and now of Judge Drayton's charge to the grand jury in Carolina.
ROADS OF ROXBURY AND BEYOND.
Sketched from a MS. map in the library of Congress, which is apparently one of the maps made by Gage's secret parties of observation.
Early in March came the anniversary of the Boston massacre. Two days before, Judge Auchmuty, in Boston, wrote to Hutchinson: "I don't see any reason to expect peace and order until the fatal experiment of arms is tried.... Bloodshed and desolation seem inevitable."[350] While this tory was writing thus, the patriots, in a spirit that somewhat belied their professed wish to avoid a conflict, were arranging for a public commemoration of the massacre. It could have been omitted without any detriment to the cause, and to observe it could easily have begotten trouble amid the inflamed passions of both sides. "We may possibly be attacked in our trenches", said Sam. Adams. It little conduced to peace that Joseph Warren was selected to deliver the address, which, as the fifth came on Sunday, was delivered on Monday, the sixth. The concourse of people suggested to Warren to enter the Old South meeting-house, where the crowd was assembled, by a ladder put against a window in the rear of the pulpit. Forty British officers were present, and the moderator offered them front seats, and some of the officers placed themselves on the pulpit stairs. A contemporary story says that it was a set purpose of the officers to break up the meeting,[351][120] and that one of them took an egg in his pocket, to be thrown at the speaker for a signal. This man tripped as he entered the building, and the egg was broken before its time. Another officer, below the desk, held up some bullets in his open palm as Warren warmed in his eloquence. The speaker quietly dropped his handkerchief on the leaden menace, and went on. So the meeting came to an end, with no outbreak; though there was some hissing and pounding of canes when the vote of thanks was put. As the crowd came out of the meeting-house there was an apprehensive moment,[352] for the Forty-third Regiment chanced to be passing, with beating drums, and for an instant the outcome was uncertain.[353] Gage had suffered the commemoration to pass without recognition, but ten days later his officers made the event the subject of a provoking burlesque, when Dr. Thomas Bolton delivered from the balcony of the British Coffee House in King Street a mock oration in ridicule of Warren, Hancock, and Adams.[354] There was no knowing what purpose this ridicule might mask; and a committee of the patriots, mostly mechanics, were constantly following the progress of events, meeting secretly at the Green Dragon[355] for consultation, and setting watches at Charlestown, Cambridge, and Roxbury, to give warning if there were any signs that the royal troops were preparing to move from the town.
On the 22d March, 1775, the provincial congress assembled again at Concord, and set to work in organizing their army, and in devising an address to the Mohawks, with the purpose of securing them to the patriot side. They also prepared to use the Stockbridge Indians as mediators with their neighbors, who were already tampered with, as was believed or alleged, by emissaries from Canada. It was already known that the people of the New[121] Hampshire Grants were preparing to seize Ticonderoga as soon as the war-cloud should burst.
BETWEEN BOSTON AND MARLBOROUGH.
Sketched from a MS. map in the library of Congress, which is seemingly the original or copy of the map made by one of Gage's secret parties sent to observe the country.
News sped rapidly by relays of riders. It was not long after Patrick Henry had said in Virginia, "We must fight; an appeal to arms and to the God of hosts is all that is left for us",[356] before the words were familiar in Massachusetts, and John Adams, who knew, said that Virginia was planting wheat instead of tobacco. At Providence they were burning tea in the streets, and men went about erasing the advertisements of the obnoxious herb from the shop-windows. Everywhere they were quoting the incendiary speech of John Wilkes, the lord mayor of London, whose retorts upon the ministry were relished as they were read in the public prints. As if to test whether March should pass without bloodshed,[357] Gage on the 30th sent Earl Percy out of town with a brigade, in light marching order, and he went four miles, to Jamaica Plain, and returned. The minute-men gathered in the neighboring towns, but no encounter took place.[358]
So April came, with the rattle of the musket still unheard. On the second day two vessels arrived at Marblehead, bringing tidings that Parliament had pledged its support to the[122] king and his ministers, and that more troops were coming. On the 8th a committee reported to the provincial congress on an armed alliance of the New England colonies, and messengers were sent to the adjacent governments.[359] Connecticut responded with equipping six regiments; New Hampshire organized her forces as a part "of the New England army", and Rhode Island voted to equip fifteen hundred men. In Virginia it looked for a while as if the appeal to arms would not be long delayed, for Dunmore fulminated against their convention; and he even threatened to turn the slaves against their masters, and he did seize the powder at Williamsburg, of which the province had small store at best. Calmer counsels prevailed, and the armed men who had gathered at Fredericksburg dispersed to reassemble at call.
The contest meanwhile had been precipitated in Massachusetts. The rumor had already gone to England that it was close at hand. Hutchinson, in London, on the 10th, when writing to his son in Boston, had said: "Before this reaches you it will be determined;" and while tidings of the actual conflict was on the way, Hutchinson learned in London that Pownall had been prepared by letters from Boston for something startling.[360] The circle of sympathizers with America were in this suspense while Franklin was on the ocean, hither bound, and, if we may believe Strahan, he had left England in a rancorous state of mind, causing men to wonder what he intended on arriving, whether to turn general and fight, or to bolster in other ways the spirits of the rebels.[361] When he arrived the fight had begun.
On the 15th of April the provincial congress had adjourned. On the 16th, Isaiah Thomas spirited his press out of Boston and took it to Worcester, where, in a little more than a fortnight, the Massachusetts Spy reappeared.[362] Families, impressed with the forebodings of the sky, were moving out of town. Samuel Adams and Hancock had been persuaded to retire to Lexington,[363] to be beyond the grasp of Gage, who was shortly expected to order the arrest of the patriots, for which he had had instructions since March 18th.[364] The Boston committee of observation was watchful. It had noticed that on the 14th the "Somerset" frigate had changed her moorings to a position intermediate between Boston and Charlestown, and on the 15th the transports were hauled near the men-of-war. Notice of these signs was sent to Hancock and Adams, and preparations were begun[123] for removing a part of the stores at Concord. When, during the afternoon of the 18th, some of the precious cannon were trundled into Groton, her minute-men gathered for a night march to Concord. During that same day Gage sent out from Boston some officers to patrol the roads towards Concord, and intercept the patriot messengers, and to discover, if possible, the lurking-place of Adams and Hancock. In the evening it was observed in Boston that troops were marching across the Common to the inner bay. William Dawes was at once dispatched to Concord by way of Roxbury, for the patriot watch had not been without information before the troops actually moved. Gordon tells us that they got a warning from a "daughter of liberty unequally yoked in point of politics", and as Gage's wife was a daughter of Peter Kemble, of New Jersey, it has been surmised that the informer may have been one very near to headquarters.[365] Paul Revere immediately caused the preconcerted signal-light to be set in a church-tower at the north end of Boston, and crossing the river in a boat, he mounted a horse on the Charlestown side and started on his famous midnight ride. It was none too soon. At eleven o'clock eight hundred men, under Lieutenant-Colonel Smith, were passing over the back bay in boats to Lechmere Point. Here they landed at half past two in the morning, and the moon at this hour was well up. They marched quietly and rapidly, but not unobserved, and when they approached Lexington Green they found drawn up there a company of minute-men. Smith had become alarmed when, as he was advancing, he found the country aroused in every direction, and sent back for reinforcements. Earl Percy, with the succor, was by some stupidity[366] delayed, and did not get off from Boston till between nine and ten the next morning, and he then took the circuitous route by Roxbury and Cambridge.
The critical moment on Lexington Green had then long passed. Major Pitcairn, who commanded Smith's advance-guard, would not or could not prevent that fatal volley in the early morning light, by which several of the small body of provincials were killed before they broke, while, by a scattering return fire, one or two of the British were wounded.[367] Smith, without being aware that Hancock and Adams were at the moment within sound of his musketry, and just then being conducted farther from his reach, waited while his troops gave three cheers, and then resumed his march, passing on towards Concord. The provincials gathered their dead and wounded, and managed as the British passed on to pick up a few stragglers, the first prisoners of the war.[368]
On the redcoats went as the day broadened.[369] They followed the road[124] much as it runs to-day, though in places steeps and impediments are now avoided by a better grade. Their march went by the spots which the genius of Hawthorne and Emerson have converted into shrines. In the centre of Concord they halted, while the gathering provincials, who had retired before them, watched the smoke of devastation. Smith had detailed two detachments to find and destroy stores. One of these, sent to Colonel Barrett's, beyond the North Bridge, had some success, and while it was absent the provincials, now increased in numbers from the neighboring towns, approached a guard which had been left at the bridge. Here the British fired at the Americans across the stream, and the volley being returned, a few were killed on both sides, before the British guard retreated upon the main body, whither they were soon followed by the other detachment which was out. Smith took two hours to gather wagons for his wounded and make preparations for his retreat, which had now become imperative, for the militia were seen swarming on the hills.[370] When Smith started he threw out a flanking party on his left, which followed a ridge running parallel to his march; but when the sloping of the land compelled the flankers to descend to the level of the road, the British lost the advantage which the ridge gave them, and the minute-men, who now began to strike the British line of march at every angle, waylaid them at cross-roads, and dropped an incessant fire upon them from copse, hill, and stone wall, until the retreating troops, impeded with their wounded, and leaving many of their dying and dead, huddled along the road like sheep beset by dogs. Just on the easterly outskirts of Lexington they met Percy, whose ranks opened and received the fugitives; and Stedman, the British historian who was with Percy, tells us how the weary men hung out their tongues as they cumbered the ground during their halt. It was near two o'clock, and Percy planted his cannon to keep his assailants at bay, while his troops, now about eighteen hundred in number, rested and refreshed themselves. Before this, his baggage train, which had been delayed in crossing the bridge from Brighton to Cambridge so as to fall far behind his hastening column, had been captured, with its guard, by a crowd of old men some distance below, at Menotomy.[371] When Percy limbered his pieces and his troops fell again into column, the hovering militia renewed the assault. As pursuer and pursued crossed West Cambridge plain the action was sharp. Percy did not dare attempt to turn towards the boats which Smith had left at Lechmere Point, and any intention he may have had of halting at Cambridge and fortifying was long vanished. So he pursued the road which led towards Charlestown Neck. Several hundred militiamen, who had come up from Essex County,[372] were nearly in time at Winter Hill to cut the[125] British off in their precipitate retreat, and "God knows", said Washington, when he learned the facts, "it could not have been more so." Percy, however, slipped by, and as darkness was coming on, the fire of the pursuers began to slacken as they approached Bunker Hill. Here, with the royal ships covering their flanks, the British halted, and, facing about, formed a line and prepared to make a stand. General Heath, who during the latter part of the day had been on the ground, drew off his militia, and at the foot of Prospect Hill held the first council of war of the now actual hostilities. Warren, early in the day hastening from Boston across the river, had galloped towards the scene of conflict. When he encountered Percy's column on its way out, he seems to have evaded it and joined General Heath, then taking cross-roads to intercept the pursuing militia. Heath took the command of the provincials soon after Percy resumed his march. From this time Warren, as chairman of the committee in Boston, kept near Heath, for counsel if need be, and Heath says that on the West Cambridge plain a musket-ball struck a pin from Warren's earlock.
No one could tell what would happen next, after this suddenly improvised army had begun to rendezvous that night in Cambridge. As the straggling parties, in bivouac and in what shelter they could find, compared experiences and counted the missing, messengers were hurrying in every direction with the tidings of the war at last begun![373]
On the 20th of April there was much to do beside picking up the dead that may have been left over night along the road from Concord. The Committee of Safety[374] were summoning all the towns to send their armed men to Cambridge.[375] Warren was writing to Gage to beg better facilities for getting the women and children, with family effects, out of Boston.[376] These were busy days for that ardent patriot. The militia were beginning to pour in, and Warren must do the chief work in reducing the mob to order. Congress comes to Watertown, and Warren, in the absence of Hancock, must preside. He bids God-speed to Samuel Adams and John Hancock[377] as they start for the Continental Congress. He hears with a sinking heart of the vessel which arrived at Gloucester on the 26th, bringing the body of Josiah Quincy, so lately warm that, when the tidings reached Cambridge of his death, Warren supposed he had lived to get ashore.[378]
HEATH'S ACCOUNT OF THE FIGHT AT MENOTOMY.
From a slip of paper in the Heath Papers, vol. i. no. 71.
After a copperplate in An Impartial Hist. of the War in America, Boston, 1784, vol. iii. The background is much the same as that of a portrait of Washington in the same work, and the print, issued in Boston, where Heath was well known, shows what kind of effigies then passed current. A portrait of Heath by H. Williams has been engraved by J. R. Smith. (Catal. Cab. Mass. Hist. Soc., p. 46.) There is extant a likeness owned by Mrs. Gardner Brewer, of Boston. Cf. Mem. Hist. of Boston, iii. 183. Heath was born in Roxbury, March 2, 1737, and died Jan. 24, 1814. His service was constant during the war, though his deeds were not brilliant. He seems conspicuously to have acquired the regard of Washington; though Bancroft calls him vain, honest, and incompetent. His papers are in the Mass. Hist. Soc. Cabinet.
Another day Warren is busy carrying out the behests of the Committee of Safety respecting their scant artillery. At another time he is encouraging wagoners to go into Boston to bring out the friends of the cause and their property; but it was not so easy to get Gage's permission, and as the tories made a plea that these Boston patriots were necessary hostages, obstacles were thrown in the way.[379] There were rumors, too, of an intention of the royal troops once more to raid upon the country. Only two days after the 19th of April, Ipswich was wild with such rumors, and the alarm spread to the New Hampshire line[380] and beyond.[381]
The patriots at Cambridge were not pleased when they found that the Connecticut assembly had sent a committee to bear a letter from Governor Trumbull (April 28) and to confer with Gage.[382] There was a feeling that the time had passed for such things, and Warren wrote (May 2) a letter beseeching the sister colony to stand by Massachusetts, which elicited from Trumbull a response sufficiently assuring.[383]
Already there was a proposition warlike enough from a Connecticut captain who had just led his company to Cambridge, and was now urging the seizure of Ticonderoga and its stores. The proposition was timely. During the previous winter the patriots had learned that the British government was intending to separate the colonies by securing the line of the Hudson.[384] Accordingly the instigator of this counter-movement was ordered, May 3d, to carry it out, and Benedict Arnold makes his first appearance in American history. Meanwhile, however, acting upon hints which Arnold had already dropped before leaving Connecticut, or perhaps anticipating such hints, some gentlemen in that colony, joining with others of Pittsfield, in Massachusetts, had gone to Bennington, where, on the day before Arnold[129] was commissioned, they had been joined by Col. Ethan Allen. Thus the plan which Arnold had at heart was likely to be carried out before he could arrive from Cambridge. A few days later the command of the force which had gathered naturally fell to Allen as having the largest personal following, and this following was loyal enough to their leader to threaten to abandon the enterprise if Arnold, who arrived very soon, should press his rights to the command. By a sort of compromise, Allen and Arnold now shared amicably the leadership. Less than a hundred men had reached the neighborhood of the fort on the morning of May 10, when, in the early dawn, the two leaders, overpowering the sentinels at the sally-port, reached the parade-ground with their men, and forced an immediate surrender from the commandant, still in his night-clothes. Fifty men and nearly two hundred cannon, and many military stores, were thus promptly and easily secured. More than a hundred other pieces were added, when, on the 12th, Colonel Seth Warner,[385] with a coöperating detachment, seized the post at Crown Point, and shortly afterwards Bernard Romans took possession of Fort George.[386]
RUINS OF TICONDEROGA, 1818.
From a plate in the Analectic Magazine (Philadelphia, 1818). Cf. views in Lossing's Field-Book, and Harper's Monthly (vii. p. 170); Von Hellwald's America, pp. 134, 135.
On the 14th some of Arnold's belated men reached him with a captured schooner, which Arnold immediately put to use in conveying a force by which he surprised the fort at St. John's, on the Sorel, and then returned to Ticonderoga.[387]
Meanwhile the provincials had begun to use the spade in Cambridge, and here and there a breastwork appeared.[388] On the 5th of May the provincial congress pronounced Gage "an unnatural and inveterate enemy",[389] and issued a precept for a new congress to convene.
ROXBURY LINES.
Follows a contemporary pen-and-ink sketch, showing the American lines as seen from the British lines on Boston Neck. The original is in the library of Congress.
The military anxiety was increasing. Thomas had but 700 men at Roxbury, which he tried to magnify in the British eyes by marching them in and out of sight, so as to make the same men serve the appearance of many more. On the 8th of May there was an alarm that the royal troops were coming out, and the militia of the near towns were summoned.[390] To put on an air of confidence, a few days later (May 13), Putnam, from Cambridge, marched with 2,200 men into Charlestown and out again, without being molested, though part of the time within range of the enemy's guns. It was the military assertion of the idea, which the day before the Watertown congress had expressed, of governing themselves. "It is astonishing[131] how they have duped the whole continent", wrote Gage to Dartmouth,[391] and perhaps he had not heard even then of the last victory of opinion down in Georgia, where parishes of New England descent were forcing issues with their neighbors.
The Committee of Safety now resolved to remove the live-stock from the islands in Boston Harbor; and Gage, on his part, determined on securing some hay on Grape Island, near Weymouth. These counter-forays led to fighting, and for some weeks the harbor was alive with skirmishing.[392] Meanwhile the Massachusetts congress had urged Connecticut to let Arnold bring some of the cannon captured on Lake Champlain to Cambridge,[393] and the day before the brush occurred at Grape Island they had delivered (May 20) a commission as commander-in-chief of the Massachusetts troops to Artemas Ward. In Boston the remaining loyalists were soon cheered by advices promising large reinforcements, which they now confidently began to expect,[394] and the feeling grew apace among the beleaguerers that a better organization and a closer dependence of the colonies among themselves were necessary to meet the impending dangers. Dr. Langdon, the president of Harvard College, in the election sermon[395] on the day when the new provincial congress met (May 31), had recognized the general obedience which was already paid to the advice of the Continental Congress. There were not a few who remembered how, twenty years before, the young Virginian, Colonel George Washington, had come to Boston, and who recalled the good impression he had made. They had heard lately of the active interest and sympathy with the patriots' cause which he was manifesting among his neighbors in that colony. On the 4th of May, Elbridge Gerry, with the approval of Warren, wrote to the Massachusetts delegates at Philadelphia, that they would "rejoice to see this way the beloved Colonel Washington" as generalissimo.[396] This was the feeling, while the army which lay about Boston was a mere inchoate mass, far from equal to the task which they had undertaken; but brave words did much; brave spirits did more; and John Adams was writing from Philadelphia that one "would burst to see whole companies of armed Quakers in that city, in uniforms, going through the manual."[397] The tories in Boston looked on with mingled fear and confidence. "We are daily threatened", wrote Chief-justice Oliver from Boston (June 10), "with an attack by fire-rafts, whale-boats, and what not."[398]
WARREN'S LAST NOTE.
The original is among the Heath Papers (Mass. Hist. Soc.), and is given in fac-simile in Frothingham's Warren, p. 506; and reduced (as above) in G. A. Coolidge's Brochure of Bunker Hill, p. 34.
One of the new British generals now lent his literary skill to his commanding general, for Burgoyne was a playwright and had an easy way of vaporing, which was quite apparent in Gage's proclamation of June 12,[399] to warn the rebellious and infatuated multitudes, and to hold out forgiveness to all but Samuel Adams and John Hancock.[400] The provincial congress, through Warren, prepared a counter-manifesto, but events were rushing too speedily to leave time for its publication. On the very day of issuing his proclamation Gage wrote to Dartmouth that he was intending to attack the rebels, "which every day becomes more necessary."[401]
NOTICE TO THE MILITIA.
After an original in the volume of Proclamations in the library of the Mass. Hist. Society.
On the 14th Warren was made the second major-general of the Massachusetts forces, and his active spirit gave encouragement, since the inalertness of Ward was creating much concern. Early in the morning of the 17th Warren left Watertown, and the provincial congress convened without him, but they knew the emergency. A broadside exists of this day, in which they call upon the neighboring militia to hold themselves in readiness. In the anxious hours of this, St. Botolph's day,[402] with all eyes on Boston, the Continental Congress had chosen Washington to be their military chief,[403] and had adopted the forces which were about to show that Boston was not besieged idly. It took time then for Cambridge to know what was happening[134] in Philadelphia; but the assembled legislators at Watertown might well hope for what had really happened, when, as the fateful day wore on, messengers arrived, declaring that the Continental funds were to be used to help supply this beggared army, and that all the aspirations of its provincial congress to set up a civil government of their own had met the approval of the continent.[404]
Now to look at the military situation. Already John Thomas, a physician of Kingston, had been made second in command under Ward; and Richard Gridley, an old Louisbourg artilleryman, had been made chief engineer. As yet the New England colonies were the only ones which had sent their armed men to the scene. The Massachusetts men had taken post mostly at Cambridge, near the college; and here, as the days went on, came also a Connecticut regiment under Israel Putnam, who had left his plough in its furrow. So, as June began, there had assembled on this side of Boston between seven and eight thousand men, eager, but poorly equipped, and with a small supply of powder. On the Roxbury side, fronting the British lines on Boston Neck, there were about four thousand Massachusetts men, under John Thomas, supported by a camp a little farther out, at Jamaica Plain, to which Joseph Spencer had come with another Connecticut regiment, and Nathanael Greene, with a body of Rhode Islanders. Thomas had some field-pieces and a few heavy cannon, and his force constituted the army's right wing. Its left wing was upon the Mystick at Medford, and near Charlestown Neck, and here were the New Hampshire men, and among their officers the old Indian fighter, John Stark, was conspicuous. Three companies of Massachusetts men constituted the extreme left at Chelsea. So, as the summer came on, perhaps about 16,000 men in all were encamped as a fragile army besieging Boston. General Ward exercised by sufferance a superior authority over all, though as yet no colony but New Hampshire had instructed its troops to yield him obedience. As Massachusetts claimed three quarters of the entire force thus drawn together, the assumption of chief command by her first officer was natural enough in a common cause.
The force which this sixteen thousand loosely organized men dared to hold imprisoned in Boston was a well-compacted army of somewhere from five to ten thousand men, for it is difficult amid conflicting reports to determine confidently a fixed number. On the 25th of May Gage had been joined by a reinforcement, accompanied by three other general officers,—Burgoyne, Clinton, and Howe.
The council of war at Cambridge was meanwhile directing new works to be constructed, strengthening and stretching their lines of circumvallation. Its opinions were divided on the question of occupying so exposed a position as the most prominent eminence on the peninsula of Charlestown, the defence of which might bring on a general engagement, which their stock of powder could not support. On the 13th of June the American commanders[135] had secretly learned that Gage intended on the 18th to take possession of Dorchester Heights, the present South Boston. There was but one counter-move to make, and that was to seize in anticipation the summit of the ridgy height which began at Charlestown Neck and extended, in varying outline, to the seaward end of the peninsula,—an eminence known as Bunker Hill. On the 16th of June, a council of war, held in the house near Cambridge common, known then as the Hastings and later as the Holmes House,[405] decided, upon the recommendation of the Committee of Safety, to occupy Bunker Hill at once.
ORDER OF THE COMMITTEE OF SAFETY.
This has before appeared in G. A. Coolidge's Brochure of Bunker Hill, 1875.
That evening about 1,200 men, of whom 200 were from Connecticut under Thomas Knowlton, the whole being under the command of Colonel William Prescott, first listened to a prayer of the president of the college, and then marched, with their intrenching tools, in the darkness, to Charlestown Neck.
Here the purpose was for the first time disclosed to the men. They resumed their march, going up the slope of the hill before them, while Nutting's company and a few Connecticut men were sent along the shore opposite Boston, to patrol it. The highest summit of the hill was the one first reached; but, after a consultation, it was decided to proceed to a lower one, more nearly before Boston. Here Richard Gridley marked out a redoubt, and at midnight the men took their spades and began to throw up the breastworks. Putnam,[136] who seems to have accompanied Prescott, now returned to Cambridge, and while the men worked busily, Prescott sent an additional patrol to the river, and twice went down himself, to be satisfied, as he heard the "All's well" of the watch on the men-of-war moored opposite, that no noise of the intrenching tools had reached the enemy. Soon after the first glimmer of dawn on the 17th, the sailors on the ships discovered the embankments, now about six feet high, when one of the vessels, the "Lively", at once opened fire upon them. This lasted only till Admiral Graves could send orders to cease, but was shortly renewed from the ships and from the batteries on Copp's Hill, in Boston, as soon as the British generals comprehended the situation. Prescott's men meanwhile kept at their work. One man was soon killed by a cannon-ball. The commander and others walked the parapet, encouraging their men, and Willard, one of the councillors who stood by Gage as they surveyed the hill through their glasses, recognized the Pepperell colonel, and told the British general what sort of man he had got to encounter. A promise had been given to Prescott that in the morning a relief and refreshments would be sent from Cambridge; but nothing came to the hungry men, as they still worked. Ward, who heard the firing, yielded to Putnam's persuasion to send reinforcement, only so far as to despatch a part of Stark's regiment, for he feared that Gage would seem to prepare to assault in Charlestown, while his intention might be to attack in Cambridge. Finally, about ten o'clock, Major John Brooks[406] reached headquarters with a request from Prescott for help and food. Richard Devens pressed Ward to comply, and at eleven the rest of the New Hampshire men were ordered to march.
Meanwhile, as the tide rose, some floating batteries were sent up the stream to take the works in flank, and later, to rake the Neck. A few stray shots were returned from a single field-piece in the redoubt, one of whose balls passed over Burgoyne's head, as he tells us, while he was watching at Copp's Hill. Putnam came again from Cambridge, and induced Prescott to send off a large number of his men with the intrenching tools, and under Putnam's direction this detail soon began to use them in throwing up earthworks on the higher summit in the rear,—labor wasted, as it turned out.
As the day wore on, Gage held a council of war, and it was determined not to land troops at the Neck and attack in rear, as Clinton urged, but to assault in front. This decision was long the ground of severe criticism upon Gage, and ruined his military reputation. The ships were put into better positions, and redoubled their fire. By noon the British troops in Boston were marching to the wharves, where they embarked in boats, and, under the command of General Howe, they rowed to Moulton's or Morton's Point,[137] where the landing was quickly made.[407] Howe drew up his men on the rising ground which makes the least of the three heights of the peninsula, and anticipating sharp work, sent back the boats for more men.
Prescott observed all this from the hill, but looked longingly up the peninsula for his own reinforcements. A few wagons came, not with men, but with beer, though nothing adequate even of this. The feeling began to spread among the men on the hill that they had been treacherously left to their fate; but they got encouragement from a few brave souls who came straggling in from Cambridge. Pomeroy, the French war veteran, was one. James Otis, wreck as he was, came.[408] So did Warren, whose presence the men recognized by a cheer, and, major-general as he was, he came to fight under Colonel Prescott. Putnam, too, had again returned, and was seen riding about the field in a restless way, with a word of encouragement here and there, and pointing out to a few reinforcements now arriving where best to go.
Prescott's eye, observing Howe's dispositions, saw he was aiming to advance along the Mystick and take the redoubt in reverse. So Knowlton, with two field-pieces and the Connecticut troops, were sent down the hill towards the Mystick, where they began to make a line of defence of a low stone wall, which was topped by a two-rail fence. Stark and Reed, with the New Hampshire regiments, diminished somewhat by details which Putnam had taken from them to help the work in the trenches on the higher hill, soon came up and ranged their men in a line with Knowlton. There was, however, an interval between this part of the field and the breastwork and redoubt, which offered a chance for the enemy to intervene and break the line. An attempt was made to prepare for such a contingency by grouping the few guns which they had at this point. New troops, in small numbers, continued to come up, and they were placed in position as best they could be to keep the line strong in all parts as it sloped away from the crowning redoubt towards either river.
It was nearing three o'clock when the British boats returned from Boston; and when their troops landed Howe had about 3,000 men in array. He pushed his guns forward and got them in position to play upon the American field-pieces, and soon drove them away, while at the same time some skirmishing took place on the British flanks, whose main body was now advancing in a measured step in two columns: one led by Howe against the rail-fence, the other by Pigot against the redoubt. The assault was become one of infantry only, for the British guns were soon mired in some soft ground, and[138] the balls in reserve had proved of an over-calibre.[409] Pigot's front got near the redoubt before the Americans poured in their fire, which was deadly enough to send the staggered column wildly back. At the same time, along the Mystick Howe's advance was met by the American field-pieces, some of which had been drawn to the rail-fence. Their musketry fire was reserved, as at the redoubt, and when it belched upon the deployed enemy it produced the same effect. So there was a recoil all along the British line. In the respite before they advanced again, Putnam tried to rally some troops in the rear, and to get others across the Neck, which the raking fire of the British vessels was now keeping pretty clear of passers.[410] But there was not time to do much, for Howe was soon again advancing, his artillery helping him more this time; and to add to the terror of the scene, he had sent word to Boston to set Charlestown on fire by shells, and the conflagration had now begun.[411] The smoke did not conceal the British advance,[412] and Prescott and Stark kept their men quiet till the enemy were near enough to make every shot tell. The result was as during the first attack. The royal troops struggled bravely; but all along the line they wavered, and then retreated more precipitately than before.
There was a longer interval before Howe again advanced, and Prescott used it in making such a disposition of his men as would be best in a hand-to-hand fight, for neither adequate reinforcements nor supplies had reached him, and his powder was nearly gone. There was a good deal of confusion and uncertainty in the rear, all along the road to Cambridge. Ward had ordered a plenty of troops forward, but few reached the peninsula at all, or in any shape for service. Putnam did what he could to bring order out of confusion; but his restless and brandishing method, and his eagerness to finish the works on Bunker Hill, were not conducive to such results as a quiet energy best produces. The brave men at the front must still do the work left for them, with such chance assistance as came.
Howe was rallying his men for a third assault. Major Small had landed 400 marines, to make up in part for the losses. Clinton had seen how confused the troops were as he looked across the river with his glass, and had hurried over from Boston to render Howe help as a volunteer aid. The[139] British general determined now to concentrate his attack upon the works on the crown of the hill, making only a demonstration against the rail-fence. He brought his artillery to bear in a way that scoured the breastwork which flanked the redoubt, and then he attacked. His column reserved their fire and relied on the bayonet. They met the American fire bravely, but soon perceived that it slackened; and surmising that the American powder was failing, they took new courage. Those of the defenders who had ammunition mowed down the assailants as they mounted the breastworks, Major Pitcairn among them;[413] but as soon as Prescott saw the defence was hopeless, he ordered a retreat, and friend and foe mingled together as they surged out of the sally-port amid the clouds of dust which the trampling raised, for a scorching sun had baked the new-turned soil. It was now, while the confused mass of beings rocked along down the rear slope of the hill, that Warren fell, shot through the head. No one among the Americans knew certainly that he was dead, as they left him. The British stopped to form and deliver fire, and there was thus time for a gap to open between the pursuers and the pursued. The New Hampshire men and others at the rail-fence, seeing that the redoubt was lost, tenaciously faced the enemy long enough to prevent Prescott's men from being cut off, and then stubbornly fell back. Some fresh troops which had come up endeavored to check the British as they reached the slope which led to the intrenchments that Putnam had been so solicitous about; but the British wave had now acquired an impulse which carried it bravely up the hill; and Putnam, skirring about, was not able to make anybody stand to defend the unfinished works. So down the westerly slope of the higher summit to the Neck the provincials fled, and the British followed. The vessels poured in their fire anew as the huddled runaways crossed the low land, and not till they got beyond the Neck was there any effectual movement by fresh troops to cover the retreat. General Howe fired a few cannon shot after them, as he mustered his forces on the hill. It was now about five o'clock. There was time in the long summer's day to advance upon Cambridge, but Howe rejected Clinton's advice to that end, and began, with other troops which had been sent to him from Boston, to throw up breastworks on the inland crown of Bunker Hill. Thus spading for their defence, the British passed the night, while the Americans lay on their arms on Winter and Prospect hills, or straggled back to Cambridge. There was no disposition on either side to renew the fight.
Prescott did not conceal his indignation at not having been better supported, when he made his report at Ward's headquarters. He knew he had fought well; but neither he nor his contemporaries understood at the time how a physical defeat might be a moral victory. Not knowing this,[140] there was little else than mortification over the result,—indeed, on both sides. A wild daring had brought the battle on, and something like bravado had led the British general into a foolhardy direct assault, while more skilful plans, availing of their ships, might have accomplished more without the heavy loss which they had endured.[414] The British folly was increased by the way in which they allowed the provincials to make the first great fight of the war a political force throughout the continent.
TRYON'S SEAL AND AUTOGRAPH.
From a plate in Valentine's N. Y. City Manual, 1851, p. 420.
The general opinion seems to be that the Americans had about 1,500 men engaged at one time, and that from three to four thousand at different times took some part in it.[415] The British had probably about the same numbers in all, but were in excess of the Americans at all times while engaged.[416] The conflict with small arms lasted about ninety minutes.
On the morning of the 18th of June (Sunday) the British renewed the cannonading along their lines, as if to cover some movement, but nothing came of it, and each side used the shovel busily on the intrenchments. A shower in the afternoon stopped the firing.
There was a dilemma in New York a few days later. Governor Tryon, who had been in England, was already in the harbor ready to land on his return, and Washington was approaching through Jersey on his way to Boston. It was determined by the city authorities to address and extend courtesies to both. The American general chanced to be ahead, and got the parade and fair words first. Tryon disembarked a few hours later, and received the same tributes.[417]
It was Sunday, June 25, when Washington reached New York. He found the town excited over the recent battle, the news of which he had met a few hours out of Philadelphia.[418]
WASHINGTON'S HEADS OF LETTER, JULY 10, 1775.
This is about half of the whole as given in fac-simile in Wilkinson's Memoirs, i. p. 855. The original is now among the Reed-Washington letters in the Carter-Brown library. It was the basis of Washington's first formal official letter to the president of Congress, which, as written out by Joseph Reed, is given in Sparks' Washington, iii. p. 17. It shows the degree of attention which the general bestowed on his minutes for his secretary's use.
Washington, on his first arrival, had taken temporary quarters in the house of the president of the college, known now as the Wadsworth house (Mem. Hist. Boston, iii. 107; Gay's Pop. Hist. U. S., iii. 408), till the finest house in the town, one of a succession of mansions on the road to Watertown, was made ready for his use. These houses, which had all been deserted by their Tory owners, gave the name of Tory Row to this part of Cambridge. The one assigned to Washington's use was a Vassall house, later, however, known as the Craigie house, when it became the property of Andrew Craigie, from whose family it passed to the ownership of Longfellow, who died in it. Sparks lived in it when he edited Washington's Writings. It is familiar in engravings. Cf. Mem. Hist. Boston, iii. p. 113, with a note on various views of it; and for its associations, see Samuel Longfellow's Life of H. W. Longfellow; Irving's Washington, ii. p. 11; Greene's Hist. View of the Amer. Rev., p. 220; Manhattan Mag., i. 119; Mrs. Lamb's Homes of America; Gay's Pop. Hist. U. S., iii. 415. Among the other buildings of Revolutionary associations still standing in Cambridge are the Brattle house, the headquarters of Mifflin; the Vassall house, where Dr. Church was confined; the house where Jonathan Sewall lived, later occupied by General Riedesel; the Oliver house, now owned by James Russell Lowell; the "Bishop's Palace", where Burgoyne was quartered; and Christ Church, where Washington attended service (view in Mass. Mag., 1792, and compare Nicholas Hoppin's discourses, Nov. 22, 1857, and Oct. 15, 1861). For more of the historical associations of these Cambridge sites, see the Harvard Book; Drake's Landmarks of Middlesex; the Cambridge Centennial Memorial (1875); William J. Stillman's Poetic Localities of Cambridge (Boston, 1876); T.C. Amory's Old and New Cambridge; an illustrated paper in Harper's Monthly, Jan., 1876, another by Alexander Mackenzie, in the Atlantic Monthly, July, 1875; Mass. Hist. Soc. Proc., June, 1858, and Sept., 1872; and the book edited by Arthur Gilman, Theatrum Majorum, The Cambridge of 1776, which has an eclectic diary (by Mary W. Greely) of the siege, purporting to be that of one Dorothy Dudley.
Among the letters now passing through New York was one upon that battle, addressed to the President of Congress, which Washington took the liberty of opening for his own guidance.[142] After instructing Schuyler, who was to be left in charge of the forces in New York, to keep watch upon Tryon[419] and Guy Johnson,[420] Washington the next day (26th) started for Cambridge. On the 2d of July Washington reached Watertown, and on the 3d, under a tree still standing,[421] he took command of the army, which thus passed, in effect, under Continental control, numbering at the time nearly 15,000 men fit for duty.[422] To brigade this army, rectify the circumvallating lines, watch the constant skirmishes, and assign the new bodies of troops arriving to places in the works, was the labor to which Washington devoted himself at once. On the 9th of July he held his first council of war,[423] and on the 10th he addressed his first letter to Congress, describing the condition of the siege as he had found it.
To guard against surprise, and replenish the magazines, required constant diligence, and the supply of powder never ceased to be a cause of anxiety in the one camp, while the diminishing stock of provisions produced almost as much concern in Boston. The beleaguered British, however, got some relief from the exodus of the Boston people, which the stress of want forced the royal commander to permit.[424] So the summer was made up of anxious moments. The independent husbandmen of New England made but intractable raw recruits, and Washington, who had expected to find discipline equal to that which the social distinctions of the South gave to the masses there, was disappointed, and did not wholly conceal his disgust.[425] He grew, however, to discern that campaigns could produce that discipline as well, if not better, than a life of civil subservience. Recruits came in from the South, and when some of the Northern officers saw the kind of men that Morgan and others brought as riflemen from Virginia, their comment was scarcely less austere. "The army would be as well off without them", said Thomas, who, next to Washington, was the best disciplinarian in the camp. Of the generals, Lee was, however, by much the most conspicuous. There was a glamour about the current rumors of his soldierly experience that obscured what might have been told of his questionable character.[426] His eccentricities were the camp talk, and rather served to magnify his presence, while it proved dangerous to perambulate the lines with him and his crowd of dogs, since the exhibition tempted the enemy to drop their shells in that spot.[427] Early in July a trumpeter approached the American lines bringing a letter from General Burgoyne to General Lee, and the camp straightway proceeded to invest the strange general with political importance. Burgoyne and Lee were old campaigners together, and Lee, before he left Philadelphia, had written a stirring letter to the British general on the bad prospects of the ministerial policy. The letter which now came was a reply, and proposed a conference on Boston Neck, to which Congress advised Lee not to accede, and the momentary ripple subsided.[428]
In August there was some correspondence with Gage respecting the treatment of prisoners, in which Washington appears to the better advantage.[429] The correspondence of the American general during the summer constantly dwells upon the scarcity of powder, though for prudence' sake he veils his expressions as much as he can. His own troops and even Congress had no conception of his want, and while Washington hardly dared fire a salute because of the powder it would take, Richard Henry Lee, from Philadelphia, was urging him to plant batteries at the mouth of Boston harbor, and keep the enemy's vessels from coming in and going out.[430] Governor Cooke, of Rhode Island, who was doing his best to get powder from Bermuda, was compelled to keep the secret too. Apparently Washington did not let his brigade commanders know the whole truth.[431] Under these circumstances Washington had no courage to attack, and Gage, on his part, was content to keep his men from deserting as best he could.
During September the threatening manœuvres of the British cruisers along the Connecticut coast[432] kept Governor Trumbull from sending what powder he had, and there was little hope, when Washington called a council of war on the 11th, that anything would come of it. There had been just then some internal manifestations not very reassuring.[433] A letter which Dr. Benjamin Church had tried to get to the British in Newport harbor had been intercepted, and its cypher interpreted. There was no expressed defection made clear by it, but suspicions were aroused, and Church, being arrested, was summoned before the congress at Watertown, where he made a speech protesting his innocence, but scarcely quieting the suspicions. He was put under control, and removed from the neighborhood of the army.[434]
There was scarce less gratification in the camp at Cambridge in getting rid of their doubtful associate than was experienced in Boston in getting a release from their sluggish general. The ministry had saved that soldier's pride as much as they could in desiring to have him nearer at hand for counsel;[435] and the sympathetic loyalists whom he had befriended paid him their compliments in an address. Gage finally, on October 10, issued his last order, turning over the command to Howe.[436]
In the middle of October, the burning of Falmouth, the modern Portland, in Maine, seemed to make it clear that the war was to be conducted ruthlessly on the British part. Captain Mowatt, with a small fleet, had entered the harbor and set the town on fire, and to those who communicated with him it was said that he announced his doings to be but the beginning of a course of such outrages. When the news reached Washington, he dispatched Sullivan to Portsmouth, with orders to resist as far as he could any similar demonstration there.[437] What a modern British historian[438] has called a "wanton and cruel deed" seems to have been but the hasty misjudgment of an inferior officer, without orders to warrant the act, and the ministry promptly disowned the responsibility.[439] During October, also, a committee of Congress,[440] visiting Washington's camp, could see for themselves the troubles of their heroic commander. They had not yet heard in Philadelphia the roar of hostile guns,—a sensation they might now experience. They could share Washington's perplexities as the new enlistments halted upon the expiration of the old,[441] and perhaps join in some of his kindly merriment when Phillis Wheatley, the negress, addressed his Excellency in no very bad verses.[442]
HANDBILL.[443]
FROM BEACON HILL, 1775, No. 1. (Looking towards Dorchester Heights.)
Note.—This and the three companion sketches are drawn from a panoramic view in colors, now in the Cabinet of the Mass. Hist. Soc., of which a much reduced heliotype is given in the Mem. Hist. Boston, iii. 80. This view is a copy by Lieutenant Woodd of the Royal Welsh Fusiliers, from the original by Lieutenant Williams, of the same regiment, which is preserved in the King's Library (Brit. Museum). Cf. Mass. Hist. Soc. Proc., iv. 397, 424; Mem. Hist. Boston, iii. 80.
The foreground on the left is the summit of Beacon Hill, not far from the spot where the State House now stands, though at a level considerably higher than the present one. Two of the guns now standing on Cambridge Common were taken from the dock in Boston after the British evacuated it, and they resemble the cannon here sketched, and one of them may possibly be that identical gun. The spire at the left would seem to be that of the First Church, which stood on the present Washington Street nearly opposite the head of State Street. (Cf. view of it in Memorial History of Boston, ii. 219.) The spire next to the right must have been that of the Old South Church. That on the extreme right would seem to be the steeple of the New South (Church Green) in Summer Street, now disappeared.
FROM BEACON HILL, 1775, No. 2. (Looking towards Roxbury.)
In No. 2 the Hancock House is in the foreground. The earliest sketch of this house is a very small one, making part of the Price-Faneuil View of Boston (1743), and its presence in which and other data led to the suspicion that this 1743 view was from an old plate, which had been originally cut twenty years earlier, and this was subsequently proven. Cf. Mass. Hist. Soc. Proc., xviii. 68; xxi. 249. The earliest enlarged view of the house is in the Mass. Mag., 1789. Cf. Mem. Hist. Bost., iii. 202. An oil painting, belonging to Mrs. F. E. Bacon, is on deposit in the halls of the Bostonian Society, where, also, are some interior views of the house.
The British encampments on Boston Common are indicated in the foreground at the left. The parallel lines (8) show the neck connecting Boston with Roxbury. The meeting-house (10) on the distant land is that of the First Religious Parish in Roxbury, on the site now occupied by the church near the Norfolk Home. The American fort just beyond (at 11) was on a rocky summit, where now the stand-pipe of the Cochituate Water Works is placed.
FROM BEACON HILL, 1775, No. 3. (Looking towards Brookline and the outlet of Charles River.)
No. 3 shows in the foreground the most westerly of the three summits of Beacon Hill (Louisbourg Square—though much lower, the hill having been cut down—represents its present site), and the rope walks. There is a similar water-color drawing among the Peter Force maps and views in the library of Congress.
The inward curve of the nearer shore on the right of the picture represents the area now including Cambridge Street and the territory north of it, below Blossom Street, covering the approaches to the bridge now leading to Cambridge, the oldest parts of which near the College are shown at 16; while at 17 we have the American encampments at Prospect Hill, the modern Somerville. The American works between the College and Charles River seem to be intended by 15. The mouth of the river is seemingly indicated by the point of land just below the number 14, which apparently stands for the Brookline fort and its connections, in the modern Longwood. Between the man in the foreground and the somewhat abrupt eminence beyond him, was a depression in the outline of the ridge, not far from the head of the present Anderson Street.
FROM BEACON HILL, 1775, No. 4. (Looking towards Charlestown.)
No. 4 has the Old West Church in the foreground, where Jonathan Mayhew preached. Its spire was subsequently taken down by the British to prevent its use as a signal station for the friends of the provincials. It stood till 1806, when the present edifice was built. (Drake's Landmarks, 374.)
This picture is substantially duplicated on another page, in the Rawdon view, sketched during the continuance of the battle of Bunker Hill. The Mount Pisca (Pisgah) at 19 the present Prospect Hill in Somerville. The lines of Winter Hill and Ploughed Hill would be in the direction of 20. At 27 is a glimpse of the Mystick River seen beyond Charlestown Neck, the armed British transport at 16 commanding the road over that neck. At 22 are the new works of the British, begun after the battle of Bunker Hill, and shown in the contemporary plan of the Charlestown peninsula, given on another page, while the British encampment is on the inner slope of the hill, at 23. Below, and along the shore (24, 24), are indicated the ruins of Charlestown, while the figures 25 mark the position of the redoubt which was defended by Colonel Prescott and his men. The house on the hither shore, below the transport, marks nearly the spot where the present bridge to East Cambridge begins. In the foreground on the extreme right are somewhat vague indications of the dam inclosing the mill-pond, in which the present Haymarket Square occupies a central position.
Perhaps they may have had the grim satisfaction of riding to distant parts of the lines in Thomas Hutchinson's coach, kept now for the general's use, if we may believe the refugee himself.[444]
A little later, Josiah Quincy, who from his house at Braintree could look out upon the harbor, had been urging Washington to block the channel, and thus imprison the British ships there at anchor, and prevent the coming of others. Washington appreciated the motives of that ardent patriot, but he would have liked better the cannon and powder that would have rendered the plan feasible.[445] At all events, the possible chances of the plan made not a very pleasant prospect for Howe, who had already set his mind—as, indeed, the ministry had already advised[446]—upon evacuating the town; but his ships were as yet not sufficient for the task, and hardly sufficient to protect his supply-boats from the improvised navy which Washington had been for some time commissioning.[447]
John Adams, in Philadelphia, was getting uneasy over the apparent inaction of Washington, and wrote in November (1775) to Mercy Warren that Mrs. Washington was going to Cambridge,[448] and he hoped she might prove to have ambition enough for her husband's glory to give occasion to the Lord to have mercy on the souls of Howe and Burgoyne![449]
The left wing of the beleaguering army was now pushed forward and occupied Cobble Hill, the site of the present McLean Asylum, and the two armies watched each other at closer quarters than before, the almost foolhardy Americans feeling increased confidence when the fortunate captain of an ordnance brig gave them a supply of munitions. In December, Massachusetts and New Hampshire[450] promptly supplied the loss of Connecticut and Rhode Island troops, who were not to be induced to prolong their enlistments. Washington was cheered with this alacrity of a portion, at least, of the New England yeomen, and he suffered as many as he could of those[153] who had come hastily to the camp in the spring to go home on brief furloughs to make winter provision for their families. Before the year was out, Congress had authorized Washington to destroy Boston if he found it necessary. The British general was, on his part, organizing in that town a Royal Regiment of Highland Emigrants,[451] and other loyalist battalions, putting Ruggles, Forrest, and Gorham in command of them.[452]
On the first of January, 1776, the federal flag, with its thirteen stripes and British Union,[453] was first raised over the American camp, and their council of war was inspirited to determine upon an attack, as soon as the chances of success seemed favorable; but the prudent ones trusted rather to Howe's evacuating through his straits for provisions, and held back from the final decision. It was not forgotten that 2,000 men were still without firelocks, and there was not much powder in the magazines. The total environing army scarce numbered ten thousand men fit for duty, and they were stretched out in a long circumvallation, while the enemy could mass at least half that number on any one point, and had a fleet to sustain them. Howe had not shown a much more active spirit than Gage had displayed, and there was a feeling in the British camp that he was too timid for the task,[454] and there could not have been much hopefulness in seeing so much better a general as Clinton sent off in January with several regiments, to join other forces and a fleet on the coast of North Carolina.[455] Washington meanwhile kept up a show of activity, and when, on the evening of January 8, he sent Knowlton on a marauding scout into Charlestown, there was a little flutter of excitement in Boston for fear it foreboded more serious work, and the British officers were hastily summoned to their posts from the play-house, where they were diverting themselves,[456]—the play on this particular occasion being something they had planned, and called The Boston Blockade.
As early as the middle of June, 1775, General Wooster, with some Connecticut troops, had by invitation of Congress marched to the neighborhood of New York, to be prepared for any demonstration from British ships which might attempt to land troops, for the British naval power was and continued to be supreme in the harbor till Washington occupied the city.
Note.—This broadside, and the opposite one, are given in fac-similes from copies in the Massachusetts Historical Society's library, and they pertain to theatrical performances given by the British officers in Boston during the siege.
Before Clinton had left Boston, Washington, under Lee's urgency, had decided to possess New York, and the plan, which was submitted to John Adams, as representing the Congress, met with that gentleman's approval.[457] Lee was accordingly sent into Connecticut to organize such a force as he could for advancing on that city.[458] He kept Washington informed of his success in these preliminaries, and finally reached New York himself on February 4,[459] and here he remained till it was ascertained that Clinton was proceeding to the South, where he was instructed to follow that general and confront him as best he could, as we shall presently see.[460]
The chief event of February, 1776, was the arrival of the cannon captured at Ticonderoga, and the placing them in the siege batteries along the American lines, for Washington had dispatched Knox to bring these much needed cannon to him. John Adams records meeting them on their way at Framingham, January 25;[461] and when the train of fifty pieces and other munitions reached the lines, there was something less of anxiety than there had been before.[462] The army, however, was still deficient in small arms, and Washington wrote urgently to the New York authorities for assistance of that kind.[463]
By the first of March powder had been obtained in considerable quantities, and Washington opened a bombardment from all parts of his lines, which was deemed necessary to conceal a projected movement. During the night of March 4-5, General Thomas, from the Roxbury lines,[464] with 2,500 men, took possession of Dorchester Heights.[465] It was moonlight, but the men worked on without discovery, and by morning had thrown up a cover. Both armies now laid plans for battle.
BOSTON.
After a photograph of a view in the British Museum. Cf. similar views in Moore's Diary of the Amer. Rev., i. 97; Mem. Hist. Boston, iii. p. 156; Lossing's Field-Book; Grant's British Battles, ii. 138. The house in the left foreground is the house built by Governor Shirley. It is still standing, but much changed. See a view of it in the frontispiece of Mem. Hist. Boston, vol. ii.
There is a view of the town and harbor in the Pennsylvania Mag., June, 1773; and others of a later date are in the Columbian Mag., Dec., 1787; Mass. Mag., June, 1791. Cf. Winsor's Readers' Handbook of the Amer. Rev., p. 66, for other views and descriptions.
BOSTON CASTLE.
After a photograph of a view in the British Museum.
Howe determined to attack the Heights by a front and flank assault. Washington reinforced Thomas, and planned at the same time to move on Boston by boats across the back bay. The British dropped down on transports to the Castle, but a long storm delayed the projected movement. This so effectually gave the Americans time to increase their defences that the British general saw that to evacuate the town was the least of all likely evils. As he began to show signs of such a movement, the Americans began to speculate upon their significance. Heath, at least, was fearful that the appearances were only a cloak to cover an intention to land suddenly somewhere between Cambridge and Squantum.[466] But the genuineness of Howe's intention gradually became apparent, as, indeed, evacuation with him was a necessity, while Admiral Shuldam also saw that his fleet, too, was immediately imperilled from the newly raised works on Dorchester Heights. So Howe had scarce an alternative but to give a tacit consent to a plan of the selectmen of Boston for him to leave the town uninjured, if his troops were suffered to embark undisturbed. Washington entered upon no formal agreement to that end, but acquiesced silently as Howe had done.[467] There was still some cannonading as Washington pushed his batteries nearer Boston on the Dorchester side, at Nook's Hill, teaching Howe the necessity of increased expedition. By early light on the 17th of March it was discovered that Howe had begun to embark his troops, and by nine o'clock the last boat had pushed off, completing a roll, including seamen, fit for duty, of about 11,000 men, with about a thousand refugees.[468] The Continentals were alert, and their advanced guards promptly entered the British works on the several sides. The enemy's ships fell down the harbor unmolested; but that night they blew up Castle William, and the vessels gathered together in Nantasket Roads. Here they remained for ten days, causing Washington not a little anxiety; and he wrote to Quincy, at Braintree, to have all the roads from the landings patrolled, lest the British should send spies into the country.[469] On the 27th, all but a few armed vessels, intended to warn off belated succor,[470] had disappeared in the direction of Halifax.[471]
Ward was left with five regiments to hold the town and its neighborhood,[472] while Colonel Gridley, "whom I have been taught to view", said Washington, "as one of the greatest engineers of the age", was directed to fortify the sea approaches.[473]
OCCUPATION OF BOSTON.
After an original in the collection of Proclamations in the library of the Mass. Hist. Society. Cf. Mem. Hist. Boston, iii. p. 181; Sparks's Washington, iii. 322; Niles's Principles and Acts (1876), p. 127. Curwen records, when the proclamation reached London, that its prohibition of plunder "was a source of comfort."
Washington gradually moved his remaining army to New York, not without apprehension at one time that he would have to direct them to Rhode Island, for a fog had befooled some people in Newport into sending him a message that the British fleet was in the offing there. He left Cambridge himself April 4th, not for Virginia, as some good people imagined he would do, out of loyalty to his province,[474] but to defend as he could the line of the Hudson, of which signs were already accumulating that it was the game for each side to secure. A few of the enemy's ships still hung about Nantasket Roads, and some desultory fighting occurred in the harbor.[475] The British, however, failed to prevent some important captures of munition vessels being made. It was not till June that General Lincoln, with a militia force, brought guns to bear upon the still lingering enemy, when they sailed away, and Boston was at last free of a hostile force.
It is now necessary to follow two other movements, which had been begun while the siege of Boston was in progress, the one to the north, and the other to the south.
The exploits of Allen and Arnold at Ticonderoga, already related, had invited further conquests; but the Continental Congress hesitated to take any steps which might seem to carry war across the line till the Canadians had the opportunity of casting in their lot with their neighbors. On the 1st of June, 1775, Congress had distinctly avowed this purpose of restraint; and they well needed to be cautious, for the Canadian French had not forgotten the bitter aspersions on their religion which Congress had, with little compunction, launched upon its professors, under the irritation of the Quebec Act. Still their rulers were aliens, and the traditional hatred of centuries between races is not easily kept in abeyance. Ethan Allen was more eager to avail himself of this than Congress was to have him; but the march of events converted the legislators, and the opportunity which Allen grieved to see lost was not so easily regained when Congress at last authorized the northern invasion. Arnold and Allen had each aimed to secure the command of such an expedition, the one by appealing to the Continental Congress, the other by representations to that of New York. Allen had also gone in person to Philadelphia, and he and his Green Mountain Boys were not without influence upon Congress, in their quaint and somewhat rough ways, as their exuberant patriotism later made the New York authorities forget their riotous opposition to the policy which that province had been endeavoring to enforce in the New Hampshire Grants. Connecticut had already sent forward troops to Ticonderoga to hold that post till Congress should decide upon some definite action; and at the end of June, 1775, orders reached Schuyler which he might readily interpret as authorizing him, if the Canadians did not object, to advance[161] upon Canada.[476] He soon started to assume command, but speedily found matters unpromising. The Johnsons were arming the Indians up the Mohawk and beyond in a way that boded no good, and they had entered into compacts with the British commanders in Canada. Arnold had been at Ticonderoga, and had quarrelled with Hinman, the commander of the Connecticut troops. Schuyler heard much of the Green Mountain Boys, but he only knew them as the lawless people of the Grants, and soon learned that Allen and Warner had themselves set to quarrelling. Presently, however, Allen reported at Ticonderoga for special service, as he had been cast off by his own people. Another volunteer, Major John Brown, was sent by Schuyler into Canada for information. Schuyler's position was a trying one. He had few troops of his own province. The Connecticut troops were too lax in discipline to suit his ideas of military propriety, and his temperament had little to induce him to make concessions to the exigencies of the conditions.[477] With the best heart he could, he tried to organize his force for an advance, and assisted, in Indian conferences at Albany, to disarm, as far as he might, the Mohawks of their hostility.
In August the news from Canada began to be alarming. Richard Montgomery, an Irish officer who had some years before left the army to settle on the Hudson and marry, was now one of the new brigadiers. He urged Schuyler to advance and anticipate the movement now said to be intended by Carleton, the English general commanding in Canada. At this juncture Schuyler got word from Washington that a coöperating expedition would be dispatched by way of the Kennebec, which, if everything went well, might unite with Schuyler's before Quebec.
Montgomery had already started from Ticonderoga, and it was not till the foot of Lake Champlain had been reached that Schuyler overtook him, and, with an effective force of about 1,000 men, he now prepared, on the 6th of September, to advance upon St. Johns. The demonstration caused a little bloodshed, but, getting information which deceived him, he fell back to the Isle-aux-Noix, and prepared to hold it against a counter attack, and to prevent any vessel of the enemy penetrating to the lake. The outlook for a while was not auspicious. Malaria made sad inroads among the men, and of those who were left on duty, insubordination and lack of discipline, and perhaps a shade of treachery, impaired their efficiency. Schuyler was prostrate on his bed, and Montgomery was forced to unmilitary[162] expedients because of the temper of his troops. Schuyler's disorder seeming to have permanently mastered him, he resigned the command to Montgomery and returned up the lake. He had, at least, the satisfaction of meeting reinforcements pushing down to the main body. Before these arrived Montgomery had begun the siege of St. Johns, and he was pressing it, when Ethan Allen, whom Montgomery was expecting to join him, met with Brown, and these two planned an attack on Montreal. It was attempted, but Brown and his men failed to coöperate, and Allen and those he had with him were finally captured.[478] When the Canadians heard that the redoubtable Green Mountain leader was in irons on board an English vessel bound for Halifax,[479] a great deal was done towards awakening them from that spell of neutrality upon which the American campaign so much depended for success.
So Montgomery continued to keep his lines about St. Johns with great discouragement. He met every embarrassment which a hastily improvised and undisciplined mass of men could impose upon a man who was of high spirit and knew what soldierly discipline ought to be. A gleam of hope at last came. He detached a party to attack Fort Chamblée, further down the Sorel, and it succeeded (October 18), and he was thus enabled to replenish his store of ammunition, which was by this time running low.[480] So Montgomery was enabled to press the siege of St. Johns with renewed vigor. When Wooster, the veteran Connecticut general, joined him with the troops of that colony, there was some apprehension that the younger Montgomery might find it difficult to maintain his higher rank against the rather too independent spirit of the old fighter.[481] No disturbance, however, occurred, and both worked seemingly in union of spirit. Every effort of Carleton to relieve the British commander at St. Johns failing, that officer surrendered the post, and, on November 3d, Montgomery took possession.
We may turn now to the expedition that Washington had promised to dispatch from Cambridge, and which had been thought of as early as May. Benedict Arnold had hurried from Crown Point to lay his grievances before the commander-in-chief. It seemed to Washington worth while to assuage his passions and to profit by his dashing valor, for he had by this time become convinced that Howe had no intention of venturing beyond his lines. So Arnold was commissioned Colonel, and given command of the new expedition, and the satisfied leader saw gathering about him various quick spirits, better recognized later. Such was Morgan, who led some Virginia riflemen, and Aaron Burr, who sprang to the occasion as a volunteer.[482][163] Washington provided Arnold with explicit instructions, and with an address to circulate among the Canadians.[483] About eleven hundred men proceeded from Cambridge to Newburyport, whence, by vessel and bateaux, they reached Fort Western (Augusta, Maine), towards the end of September. Here the expeditionary force plunged into the wilderness, up the Kennebec, environed with perils and the burdens of labor. Suffering and nerving against vexations and weariness that grew worse as they went on, they saw the sick and disheartened fall out, and found their rear companies deserting for want of food.[484] Those that were steadfast were forced to eat moccasins and anything. On they struggled to the ridge of land which marked the summit of the water-shed between the Atlantic and the St. Lawrence. Then began the descent of the Chaudière, perilous amid the rush of its waters, which overturned their boats, and sent much of what stores they had left on a headlong drive down the stream. At last the open country was reached, and Arnold stopped to refresh the survivors. He dispatched Burr to see if he could find Montgomery,[485] and, making the most of the friendly assistance of the neighboring inhabitants, Arnold advanced to Point Levi, and began to make preparations for crossing the St. Lawrence. The city of Quebec looked across the basin in amazement on a stout little army, of whose coming, however, they had had an intimation; while Arnold's men were hard at work making or finding canoes and scaling-ladders.
Meanwhile where was Montgomery, whom Burr, disguised as a priest, and speaking French or Latin as required, was seeking up the river? He had got possession of Montreal without a blow, and sending Colonel Easton down to the mouth of the Sorel, that officer intercepted the little flotilla with which Carleton was trying to reach Quebec, and captured all of the fugitives except Carleton himself, who escaped in a disguise by night. The news of Arnold, which Burr at last brought to Montgomery, made that general more anxious than ever to push on to Quebec, but the expiration of the enlistments of some of his men much perplexed him, and he was obliged to make many promises to hold his army together. Before Montgomery could reach him, Arnold had in the night taken about 550 men across the river, and ascending at Wolfe's Cove, he had paraded them before the walls and demanded a surrender. The garrison was small, and in part doubtful, and the inhabitants were more than doubtful, but the lieutenant-governor, Cramahé, with his stanchest troops, the Royal Scotch, overawed the rest, and kept the gates closed. The vaporing Arnold had been known in the past within the town as a horse-jockey, and his promise as a general, with his shivering crowd, did not greatly impress those whom he had somewhat farcically beleaguered. In a day or two Arnold became frightened and drew off his men, strengthened now a little by others who had crossed the river. Unmolested he went up the river, to keep within[164] reach of Montgomery, perceiving as he went up the banks the succor for Quebec which Carleton, having picked up men here and there, was bringing down by water.
From the Political Mag., iii. 351. Cf. Jones's Campaign for the Conquest of Canada, p. 112; Mag. of Amer. Hist., June, 1883, p. 409; Moore's Diary of the Revolution, p. 454; B. Sulte's Hist. des Canadiens français (as Lord Dorchester, to which rank Carleton was subsequently raised).
By the 1st of December, Montgomery, with three armed schooners and only 300 men, reached Arnold at Point-aux-Trembles. The united forces now turned their faces towards Quebec, less than a thousand[165] in all, with a body of two hundred Canadians, under Colonel James Livingston, acting in conjunction; and on the 5th were before the town. Carleton haughtily scorned all advances of Montgomery to communicate with him, and devoted himself to overawing the town, quite content that the rigors of winter should alone attack the invaders. While the Americans were making some show of planting siege-batteries, plans for assault were in reality maturing, and a stormy night was awaited to carry them out. It came on the night before the last day of the year. While two feints were to be made on the upper plain, the main assaults were to be along the banks of the St. Charles and the St. Lawrence, from opposite sides, with a view to joining and gaining the upper town from the lower. Montgomery led the attack beneath Cape Diamond on the St. Lawrence side, and while in advance with a small vanguard, and unsuspecting that his approach was discovered, he was opened upon with grape, and fell, with others about him.[486] His death was the end of the assault on that side. Arnold was at first successful in carrying the barriers opposed to him, but was soon severely wounded and taken to the rear. Morgan, who succeeded to the command, was pressing their advantage, when Carleton, relieved by Montgomery's failure, and by the discovery that the other attacks meant nothing, sent out a force, which so hemmed Morgan in, that, having already learned of Montgomery's failure, he found it prudent to surrender with the few hundred men still clinging to him. The Americans elsewhere in the field hastily withdrew to their camp, and Carleton was too suspicious of the townspeople to dare to take any further advantage of his success.
The command of the Americans now devolved on Lieutenant-Colonel Donald Campbell, who sent an express to Wooster at Montreal, urging him to come and take the control. That general thought it more prudent to hold Montreal as a base,[487] and remained where he was, while he forwarded the dismal news to his superior, Schuyler, at Albany, who had quite enough on his hands to overawe Sir John Johnson and the Tories up the Mohawk. The succession of Wooster to the command in Canada boded no good to the New York general, and led to such crimination and recrimination between the two that Congress, towards spring (1776), took steps to relieve Schuyler of the general charge of the campaign. Thomas, who had rendered himself conspicuous in driving the British from Boston, was made a major-general (March 6), and was ordered to take the active command in Canada. A New England general for troops in the main from those colonies seemed desirable, and Thomas was certainly the best of those furnished by Massachusetts during the early days of the war.
Meanwhile Arnold, amid the snows, was audaciously seeming to keep up the siege of Quebec in his little camp, three miles from the town. Small-pox was beginning to make inroads on his little army, scarce at some periods exceeding five hundred effective men. Wooster finally came from Montreal on the first of April, and assumed command. For the influence intended to soothe and gain the Canadians to pass from the courtly Montgomery to the rigid and puritanical Wooster was a great loss, and it soon became manifest in the growing hostility of the people of the neighboring country. It was by such a pitiful force that Carleton allowed himself to be shut up in Quebec for five months.
This was the condition of affairs when a commission, consisting of Benjamin Franklin, Samuel Chase, and Charles Carroll, was sent by Congress, with delegated powers, to act with prompter decision on the spot.[488] They reached Albany early in April, and found Thomas, from Boston, already there. So the two generals, Schuyler and Thomas, pushed on ahead of the commissioners, and, with the reinforcements now setting towards Canada, before and behind them, it seemed as if a new vigor might be exerted upon the so far disastrous Northern campaign. Thomas directed his course to Quebec, while the commissioners went to Montreal, where they found the most gloomy apprehensions existing, and were soon convinced that, without hard money and troops, Canada must be relinquished. Franklin returned to Philadelphia to impress this upon Congress, while Schuyler was at his wits' ends to find men, provisions, and money to send forward, till Congress should act.
Washington, by this time in New York with the troops which had forced the evacuation of Boston, yielded to the orders of Congress, and sent Sullivan of New Hampshire with a brigade, carrying money and provisions, to reinforce the wretched army in Canada, thereby diminishing, with great risk, his own force to less than 5,000 men. Thomas had at this time reached Quebec (May 1), where he found, out of the 1,900 men constituting the beleaguering army, only about a thousand not in hospital, and scarcely five hundred of these were effective troops. It was necessary to do something at once, for the breaking ice told the American general that a passage was preparing for a British fleet, which was known to be below. Plans for an assault on the town miscarried, and while Thomas was beginning to remove his sick preparatory to a retreat, three British men-of-war appeared in the basin. They landed troops, and gave Carleton an opportunity to hang upon the rear of the retreating invaders, and pick up prisoners and cannon. He did not pursue them far.[489]
Near the same time a force of British and Tories, coming down the river from Ontario, had fallen upon Arnold's outpost at Cedar Rapids, above[167] Montreal, and had captured its garrison. Thus disaster struck both ends of the American line of occupation. The force under Thomas was withdrawing to the Sorel, when Burgoyne, with large reinforcements, landed at Quebec. Up the Sorel the Americans retreated, joined now by the troops under Thompson, which Washington had earlier sent from New York. Thomas[490] soon died (June 2) of small-pox at Chamblée; and Wooster being recalled, Sullivan, who now met the army, took the command, and pushing forward to the mouth of the Sorel, prepared to make a stand. He soon sent a force under Thompson towards Three Rivers, to oppose the approaching British, now reaching 13,000 in number, either at Quebec or advancing from it,—a number to confront, of which apparently Sullivan had no conception. This general himself possessed hardly more than 2,500 men, for Arnold, instead of reinforcing him, as directed, had left Montreal for Chamblée. The action at Three Rivers, of which the cannonading had been heard at the Sorel, proved a disastrous defeat. It was followed by the British vessels pushing up the river, and as soon as they came in sight Sullivan broke camp and also retreated to Chamblée, followed languidly by Burgoyne. Here Sullivan joined Arnold, and the united fugitives, of whom a large part were weakened by inoculation, continued the retreat to the Isle-aux-Noix, thence on to Crown Point, where early in July the poor fragmentary army found a little rest,—five thousand in all, and of these at least one half were in hospital.[491]
DUNMORE'S SEAL.
From a plate in Valentine's N. Y. City Manual, 1851.
We may glance now at the progress of events to the southward. In Virginia, Dunmore, the royal governor, hearing of Gage's proclamation proscribing Hancock and Adams, feared that he might be seized as a hostage, and took safety on board a man-of-war in Yorktown harbor. Events soon moved rapidly in that quarter.[492] Patrick Henry, perhaps a little unadvisedly, was made commander of their militia.[493] In due time, from his floating[168] capitol, Dunmore issued his proclamation granting freedom to slaves of rebels,[494] and had directed a motley crew of his adherents to destroy the colonial stores at Suffolk, and this led to a brisk engagement at the Great Bridge (December 9, 1775), not far from Norfolk, in which the royalists were totally defeated.[495] The destruction of that town, now under the guns of the royal vessels, soon followed, on the first of January, 1776.[496]
On the 27th of February, 1776, the Scotch settlers of North Carolina, instigated by Martin, the royal governor, and under the lead of their chief, Macdonald,[497] endeavored to scatter a force of militia at Moore's Creek Bridge, but were brought to bay, and compelled to surrender about half of a force which had numbered fifteen or sixteen hundred.[498]
Early in 1776 the task was assigned to Clinton, who had in January departed from Boston, as we have seen, to force and hold the Southern colonies to their allegiance, and Cornwallis, with troops, was sent over under convoy of Sir Peter Parker's fleet, to give Clinton the army he needed. The fleet did not reach North Carolina till May. In March, Lee, while in New York, had wished to be ordered to the command in Canada, as "he was the only general officer on the continent who could speak and think in French." He was disappointed, and ordered farther south.[499] By May he was in Virginia, ridding the country of Tories, and trying to find out where Parker intended to land.[500] It was expected that Clinton would return north to New York in season to operate with Howe, when he opened the campaign there in the early summer, as that general expected to do, and the interval for a diversion farther south was not long. Lee had now gone as far as Charleston (S. C.), and taken command in that neighborhood, while in charge of the little fort at the entrance of the harbor was William Moultrie, upon whom Lee was inculcating the necessity of a slow and sure[169] fire,[501] in case it should prove that Parker's destination, as it might well be, was to get a foothold in the Southern provinces, and break up the commerce which fed the rebellion through that harbor.
FORT MOULTRIE, 1776.
Reduced from the plan in Johnson's Traditions and Reminiscences of the Amer. Revolution in the South (Charleston, S. C., 1851). It shows that the rear portion of the fort had not been finished when the attack took place. The same plate has an enlarged plan of the fort only. See the maps in Drayton's Memoirs of the Amer. Rev. in the South (Charleston, 1821, two vols.), ii. 290, which is similar to Johnson's Ramsay's Rev. in S. Carolina, i. 144, which is of less area; and that in Gordon's Amer. Revolution, iii. 358. These are the maps of American origin. Lossing (ii. 754) follows Johnson.
The people of Charleston had been for some time engaged on their defences, and "seem to wish a trial of their mettle", wrote a looker-on.[502] The fort in question was built of palmetto logs, and was unfinished on the land side. Its defenders had four days' warning, and the neighboring militia were summoned. On the 4th of June the hostile fleet appeared,[503] and having landed troops on an adjacent island, it was not till the 27th that their dispositions were made for an attack.
ATTACK ON CHARLESTON, 1776.
From Political Mag. (London, 1780), vol. i. p. 171,—somewhat reduced. Carrington notes (p. 176), as dated Aug. 31, 1776, and belonging to the North Amer. Pilot: "An exact plan of Charleston and harbor, from an actual survey, with the attack of Fort Sullivan on the 26th June, 1776, by his Majesty's squadron, commanded by Sir Peter Parker." Cf. no. 37 of the American Atlas (Faden's), and the Amer. Military Pocket Atlas, 1776, no. 5. Mr. Courtenay, in the Charleston Year Book, 1883 (p. 414), gives a folded fac-simile of a broadside map, A plan of the Attack on Fort Sullivan ... with the disposition of the King's land forces, and the encampments and entrenchments of the rebels, from the drawings made on the spot. Engraved by Wm. Faden, by whom it was published Aug. 10, 1776. The dedication to Com. Parker is signed by Lieut.-Col. Thomas James, royal regiment of artillery, June 30, 1776. It has a corner plan of the "Platform in Sullivan's Fort", by James, on a larger scale. Appended to the map are a list of the attacking ships, and extracts from Parker's and Clinton's despatches. The channel between Long and Sullivan's islands is given as seven feet in the deepest part. The original MS. of this Faden map is in the Faden Collection in the library of Congress (no. 41), where is also a MS. map of Charleston and its harbor, a topographical drawing, finished in colors (no. 40). Cf. Plan de la Barre et du hâvre de Charlestown d'après un plan anglois levé en 1776. Rédigé au dépôt général de la marine [Paris], 1778. (Brit. Mus. Maps, 1885, col. 764.)
These are the different English maps. In the same Charleston Year Book, p. 478, is an account of the successive forts on the same spot. A view of Charleston is in the London Mag. (1762, p. 296), and one by Thomas Leitch, engraved by S. Smith, 1776, is noted in the Brit. Mus. Map Catal., 1885, col. 764.
Their ships threw shot at the fort all day, which did very little damage, while the return fire was rendered with a precision surprising in untried artillerists, and seriously damaged the fleet,[504] of which one ship was grounded and abandoned.
WILLIAM MOULTRIE.
From the copperplate in his Memoirs of American Revolution, on far as it related to States of N. and S. Carolina and Georgia. Compiled from most authentic materials, the author's personal knowledge of various events, and including an Epistolary Correspondence on Public Affairs, with Civil and Military Officers, at that period. (New York, 1802, two volumes.) The likeness in the National Portrait Gallery (New York, 1834) is Scriven's engraving of Trumbull's picture.
There is a portrait in the cabinet of the Penna. Hist. Soc., no. 58. See the paper on General Moultrie in South Carolina in Appleton's Journal, xix. 503, and Wilmot G. Desaussure's Address on Maj.-Gen. William Moultrie, before the Cincinnati Society of South Carolina, 1885.
The expected land attack from Clinton's troops, already ashore on Long Island, was not made. A strong wind had raised the waters of the channel between that island and Sullivan's Island so high that it could not be forded, and suitable boats for the passage were not at hand.[505] A few days later the shattered vessels and the troops left the neighborhood, and Colonel Moultrie had leisure to count the costs of his victory, which was twelve killed and twice as many wounded. The courage of Sergeant Jasper, in replacing on the bastion a flag which had been shot away, became at once a household anecdote.[506]
CRITICAL ESSAY ON THE SOURCES OF INFORMATION.
THE earliest attempt with any precision to enumerate the various sources of information upon the whole series of military events about Boston during 1775 and 1776 was by Richard Frothingham, in the notes of his Siege of Boston (1849), where, in an appendix, he groups together the principal authorities. Later than this, Barry (Massachusetts, iii. ch. 1), Dawson (Battles, vol. i.), and others had been full in footnotes; but the next systematized list of sources was printed by Justin Winsor in 1875, in the Bulletin of the Boston Public Library. This last enumeration was somewhat extended in the Bunker Hill Memorial, published by the city of Boston,[507] and still more so by the same writer in his Handbook of the American Revolution, Boston, 1879. It is condensed in the Memorial Hist. of Boston, iii. 117.
Salem, because of a little alleged pricking of bayonets when Leslie's expedition was harassed there in February, 1775, has sometimes claimed to have witnessed the first shedding of blood in the war. The principal monograph on the subject is C. M. Endicott's Account of Leslie's retreat at the North Bridge in Salem, on Sunday, Feb. 26, 1775 (Salem, 1856).[508] Early resistance to British arms, and even bloodshed in the act, had undoubtedly occurred before the affair at Lexington, and writers have cited the mob at Golden Hill,[509] in New York, and the massacre at Westminster, in the New Hampshire[173] Grants, when an armed body of settlers arose against the authority of the king, as asserted in favor of the jurisdiction of New York in March, 1775.[510]
The precipitation of warfare, however, can only be connected with the expedition to Lexington and Concord. Every stage of the affair has been invested with interest by discussion and illustration. The ride of Paul Revere to give warning has grown to be a household tale in the spirited verse of Longfellow; but, as is the case with almost all of that poet's treatments of historical episodes, he has paid little attention to exactness of fact, and has wildly, and often without poetic necessity, turned the channels of events. In literary treatment, the events of Lexington and Concord form so distinct a group of references that they can be best considered in a later note (A), as can also the sources of information respecting the fight at Bunker Hill (B).
Of the siege of Boston, the chief monograph is Frothingham's, already referred to. Other contributions of a monographic nature are the address and chronicle of the siege by Dr. George E. Ellis in the Evacuation Memorial of the City of Boston (1876); W. W. Wheildon's Siege and Evacuation of Boston and Charlestown (Boston, 1876, pp. 64); and the chapters on the siege in Dawson's Battles of the United States, vol. i., and Carrington's Battles of the Revolution (1876).[511]
Among the general historians, Bancroft has made an elaborate study of the siege, devoting to it a large part of his vol. viii. (orig. edition), and all the histories of the United States, Massachusetts, and Boston necessarily cover it.[512]
The principal of the later British historians is Mahon, in his Hist. of England, vol. vi. Lecky (England in the Eighteenth Century, ii. ch. 12), while he goes little into details, gives an admirable account of the two respective camps. The Life of Burgoyne, by Fonblanque, is the fullest of the biographies of the actors on the British side.
On the American side, the lives of leading officers all necessarily yield to those of Washington,[513] whose letters, as contained in vol. iii. of Sparks's ed. of his Writings, can well be supplemented by those of Reed, then his secretary.[514] Of the contemporary general historians, Gordon and Mercy Warren were familiar with the actors of the time.[174] The Journals of the Continental Congress and of the Provincial Congress of Massachusetts follow the development of events, and show how in some ways the legislation shaped them.[515] Contemporary records and comments are garnered in Almon's Remembrancer, Force's Archives, Niles's Principles and Acts of the Revolution, and Moore's Diary of the Amer. Revolution. The life and daily routine of both camps are to be traced in abundant orderly books, diaries, and correspondence, of which the register is given in the notes (C and D) following this essay.
Of the Canada expedition, in its combined movements by the Kennebec and Lake Champlain, the authorities for detail may well be reserved for later notes (G and H), but for comprehensive treatment references may be made to the general historians and a few special monographs. As respects the campaign in general, the only considerable special study is Charles Henry Jones's History of the Campaign for the Conquest of Canada in 1776 (Philad., 1882). The book does not profess, however, to follow the movements before the death of Montgomery, nor to touch at all the coöperating column of Arnold before it had united with the other. A principal interest of its writer is, furthermore, to chronicle the share of Pennsylvanians in the campaign. The study is therefore but an imperfect one, and the author gives the student no assistance in indicating his sources. The reader most necessarily have recourse, then, for a survey of the whole campaign, to such general works as Bancroft's United States (vol. viii.), Carrington's Battles (p. 122), and other comprehensive and biographical works.[516]
The political aspects of the movement on Canada arise in the main from the mission of the Commissioners of Congress to the army, and their efforts to affect the sympathies of the Canadians. The sources of this matter are also traced in a subsequent note.[517]
A. Lexington and Concord.—The details of Revere's connection with the events of the 18th and 19th April are not altogether without dispute. Revere's own narrative was not written till 1798,[518] and was printed in the Mass. Hist. Soc. Collections, vol. v., but not so accurately as to preclude the advisability of reprinting it in the same society's Proceedings, Nov., 1878. Richard Devens's nearly contemporary account of the signal lanterns is printed in Frothingham's Siege of Boston, p. 57.[519] The traditional story of the other messenger of that eventful night is told[175] in H. W. Holland's William Dawes and his ride with Paul Revere.[520]
In a book which was published at Boston in 1873 as Historic Fields and Mansions of Middlesex, but whose title in a second edition, in 1876, reads Old Landmarks and Historic Fields of Middlesex, Mr. Samuel Adams Drake follows (ch. xvi.-xviii.) the route of the British troops from Lechmere Point to Concord and back to Charlestown, pointing out the localities of signal events in the day's course.
The provincial congress ordered depositions[521] to be taken of those who had participated in the events of the day, with a main purpose of establishing that the British fired first at Lexington. These were signed in several copies. One set of them, accompanied by a request from Warren to Franklin to have them printed and dispersed in England, was entrusted to Capt. John Derby, of Salem, who took also a copy of the Essex Gazette, in which an account of the fighting was printed, and sailed in a swift packet for England four days after Lieutenant Nunn, bearing Gage's despatches, had sailed from Boston (April 24). Derby reached Southampton on the 27th of May, and was in London the next day.[522] London had been stirred three weeks before with rumors of a bloody day with Gage's troops,[523] and now two days later the government felt called upon to announce they had no tidings; whereupon Arthur Lee, who, since Franklin had sailed for America, had succeeded to his place as agent of Massachusetts, and had received the papers, made a counter-announcement that the public could see the affidavits at the Mansion House.[524] The tidings spread. Hutchinson communicated the news to Gibbon, and he recorded it in a letter, May 31.[525] On the 5th of June Horace Walpole wrote it to Horace Mann. On the 7th, Dartmouth spoke of the "vague and uncertain accounts of a skirmish, made up for the purpose of conveying misrepresentation."[526]
LEXINGTON DEPOSITION.
Fac-simile of the original in the Arthur Lee Papers in Harvard College library. The fac-simile on the opposite page, relating to the action at Concord, is reproduced from an original in the same collection of papers.
On the same day the friends of America, forming the Constitutional Society, met at the King's Arms in Cornhill, and raised a subscription of £100, to be paid to the widows and families of the provincials who had been killed.[527] On the 8th another vessel reached Liverpool, confirming the news, but giving no particulars. Finally, on the 10th, the official report of Gage, with the statements of Percy and Smith, reached the government.[528]
Meanwhile, both sides at home had been busy with circulating their pleas of vindications. The provincial congress at once despatched messengers south,[529] and the Rev. William Gordon, an Englishman settled in Jamaica Plain, drew up (May 17, 1775) for the patriots their authoritative Account of the Commencement of hostilities;[530] and various other contemporary accounts on the provincial side have come down to us,[531] and of importance among them are the narratives of the ministers of Lexington and Concord, the Reverends Jonas Clark and William Emerson.[532]
LEXINGTON, 1775.
After a plan in Hudson's Lexington, p. 173. The British approached from Boston up the road, past the Munroe Tavern, still standing (C), past Loring's house and barn (I J); and opposite Emerson's house (H) they sighted, looking beyond the meeting-house (L), the Lexington militia, under Capt. John Parker, drawn up along the farther side of the triangular green, in front of the houses of Daniel Harrington (E) and Jonathan Harrington (D, still standing) (who was one of the killed), which were separated from each other by a blacksmith's shop (G). The house on the opposite side of the common (F) was Nathan Munroe's (still standing), and on the third side was Bucknam's Tavern (B, still standing), where Parker's company was mostly assembled when the order was given to form on the common. When the minute-men scattered, most of them ran across the swamp; but some fled up the Bedford road, in the direction of the Clarke House (A), still standing, where Adams and Hancock had spent the night, but from which they were now hurrying towards Burlington for better protection.
On the return of the British from Concord, they met Percy's column on the road between Munroe's Tavern and Loring's. Percy now kept the provincials at bay by planting his field-pieces at M and N, while some of the wounded were carried into the tavern, which is still standing. The buildings (I J) were set on fire and burned down. Balls from Percy's cannon have been dug up since in the town. One went through the meeting-house (L). Several of these balls are preserved. While Percy was halting, General Heath arrived among the provincials and assumed the command. Cf. the plans in Josiah Adams's Address at Acton; Moore's Ballad History of the Revolution.
There are views of the Clarke House in Hudson's Lexington, 430; Drake's Landmarks of Middlesex, 364-368; Lossing's Field-Book, i. 523; and of the Munroe Tavern in Hudson, part ii. p. 161.
The Memoirs of General Heath are, of course, of first importance; for he was on the ground soon after Percy took the command on the British side.[533]
CONCORD, 1775.
This follows a plan in Hudson's Lexington, p. 191. The British approached from Lexington by the road (1), and halted in the middle of the town (3). The provincials, who were assembled by the liberty-pole (2), retired along the road (5) by the Rev. William Emerson's house [Hawthorne's "Old Manse"], and across the North Bridge (between 5 and 8) to the high land (6), where they halted, and where reinforcements from the neighboring towns reached them. Colonel Smith, the British commander, now sent out two parties to seek for stores. One, which went by the road (4) to the South Bridge, found little. The other followed the road (5) by the North Bridge, and passing beneath the provincials at 6, turned to their right, and took the road (5) to Colonel Barrett's house, where they destroyed some cannon and other stores. This second party had left a detail at the North Bridge to secure their retreat by that way, for the road (10) did not then exist. The provincials, after the party bound to Colonel Barrett's passed on, descended from 6 to the North Bridge, when the detail defending it, who were near 8, recrossed the bridge. Here the first firing took place, and some were killed on both sides, the river being between the combatants. The British detail now retired towards the centre of the town, the Americans following them across the bridge, but immediately dispersing without military order. While thus scattered, the British party, returning from Barrett's house, recrossed the North Bridge without molestation, and rejoined the main body at the centre of the town. Here the British, after destroying other stores and delaying for about two hours, formed for the return march towards Lexington, the main body following the road (2), while a flanking party took the ridge of high land (2).
Cf. also the plans in Frothingham's Siege of Boston, 70.
A few days after the 19th, John Adams tells us[534] he rode along "the scene of action toward Lexington for many miles, and inquired of the inhabitants the circumstances." He gives us no particulars, but what he learned was not calculated to diminish his ardor in the cause.[535]
The accounts on the British side are almost equally numerous, including the official reports of Gage, Percy, and Smith, already referred to. General Gage sent (April 29)[536] to Gov. Trumbull, of Connecticut, a statement, which was printed at the time in a handbill as a Circumstantial Account, and he refers to it "as taken from gentlemen of indisputable honor and veracity, who were eye-witnesses of all the transactions of that day."[537]
In 1779 there was printed at Boston a pamphlet containing General Gage's instructions to Brown and De Bernière,[538] from a MS. left in Boston by a British officer, to which is appended an account of the "transactions" of April 19, with a list of the killed, wounded, and missing,[539] and in 1775 there was printed at London a contemporary summary in The Rise, Progress, and Present State of the Dispute.[540]
The question of firing the first shot at Lexington was studiously examined at the time, each side claiming exemption from the charge of being the aggressor, and Frothingham[541] and Hudson[542] collate the evidence. It seems probable that the British fired first, though by design or accident a musket on the provincial side flashed in the pan before the regulars fired.[543] That some irregular return of the British fire was made seems undeniable, though at the time of the semi-centennial celebration certain writers, anxious to establish for Concord the credit of first forcibly resisting the British arms, denied that claim on the part of the neighboring town. The controversy resulted in Elias Phinney's Battle of Lexington, published in 1825,[544] with depositions of survivors, taken in 1822; and Ezra Ripley's Fight at Concord, published in 1827.[545] The parts borne by the men of other towns have had their special commemorations.[546]
PART OF EMERSON'S RECORD IN HIS DIARY, APRIL 19, 1775 (from Whitney's Literature of the Nineteenth of April).
PERCY.
From Andrews's Hist. of the War, Lond., 1785, vol. ii. A portrait engraved by V. Green is noted in J. C. Smith's Brit. Mezzotint Portraits, ii. 576. Cf. also Evelyns in America, 304; Memorial Hist. of Boston, iii. 57, 58; "Percy family and Alnwick Castle" in Jewitt's Stately Homes of England. In the Third Report of the Hist. MSS. Commission there are (1872) various papers of the Percy family touching the American war. Some of these papers have been procured from England by the Rev. E. G. Porter, of Lexington. Several letters of Percy, addressed to Bishop Percy, sold not long since at a sale of the Bishop's MSS., were bought by a London dealer, and are now in the Boston Public Library. They are quoted from in this and other chapters. On July 30, 1776, a picture of Percy was placed in Guildhall, London, by the magistrates of the city and liberties of Westminster, in token of his services in America. Cf. also Doyle's Official Baronage, ii. 670.
PERCY.
From Murray's Impartial Hist. of the present War, i. 382.
B. Battle of Bunker Hill, June 17, 1775.—There are four sufficient authorities for tracing all that is known respecting the battle of Bunker Hill, even to minute particulars, especially with respect to the testimony of those who, from nearness to the event, or from opportunity, are best entitled to be considered in the matter. The earliest master of the literature and records of the fight was Richard Frothingham, who through life was identified with the story of Bunker Hill, and who has on the whole, in his Siege of Boston and in his Life of Joseph Warren, given us the amplest details.[547] His latest gleanings were included in The Battlefield of Bunker hill: with a relation of the action by William Prescott, and illustrative documents. A paper communicated to the Massachusetts Historical Society, June 10, 1875, with additions. (Boston: printed for the author. 1876. 46 pp.)[548]
In June, 1868, Henry B. Dawson, in a special number of the Historical Magazine, entered into an elaborate collation of nearly all that had been published up to that time, making his references in footnotes, which serve as a bibliography of the subject.[549]
LEXINGTON GREEN.
From the Massachusetts Magazine (Boston, 1794). Four views (12 X 18 inches, on copper) of different aspects of the day's fight were drawn by Earl, a portrait painter, and engraved by Amos Doolittle shortly afterward. They are reproduced in the centennial edition of Jonas Clark's Narrative; in Frank Moore's Ballad History; in Potter's American Monthly, April, 1875; in Antique views of ye Town of Boston; and separately, with an explanatory text, by E. G. Porter, as Four Drawings of the Engagement at Lexington and Concord (Boston, 1883). The view of the attack on Lexington Green was drawn from Daniel Harrington's house (see plan), and was reduced by Doolittle himself for Barber's History of New Haven. (W. S. Baker's Amer. Engravers, Philad., 1875, p. 45.) It has also been redrawn several times by others. See Lossing's Field-Book, i. 421, 524; Hudson's Lexington, p. 183; the Centennial edition of Phinney, etc.
Earl and Doolittle were soldiers of a New Haven company, which reached Cambridge a few days after the fight.
There is a view of Concord taken in 1776 in the Massachusetts Mag., July, 1794, which is reproduced in Whitney's Literature of the Nineteenth of April.
There is an early but fanciful picture of the "Journée de Lexington" in François Godefroy's Recueil d'Estampes representant les different événemens de la guerre qui a procuré l'indépendence aux États Unis de l'Amérique.
An account of Jonathan Harrington, the last survivor of the fight, is in Potter's Amer. Monthly, April, 1875, and in Jones's New York during the Revolution, i. 552.
In fiction, mention need only be made of Cooper's Lionel Lincoln, and Hawthorne's Septimus Felton.
In 1875 there was an exhibition of relics of the fight at Lexington, and some of them are still retained in the library hall. A printed list of them was issued in 1875. A musket taken from a British soldier was bequeathed by Theodore Parker to the State of Massachusetts, and now hangs in the Senate Chamber. Cf. Hist. Mag., iv. 202 (July, 1880).
In 1875 Justin Winsor published first in the Bulletin of the Boston Public Library a bibliographical commentary on all printed matter respecting the battle, grouping his notes by their affinities; and this was enlarged in the Celebration of the Centennial Anniversary of the Battle, published by the city of Boston in 1875; and still further augmented in a section of his Handbook of the American Revolution (Boston, 1879).
In 1880 James F. Hunnewell, in his Bibliography of Charlestown and Bunker Hill (Boston), grouped everything alphabetically under such main headings as monographs, maps and plans, contemporary newspapers, American statements,[186] British accounts, French accounts, anniversaries. His enumeration is more nearly exhaustive than Mr. Winsor's, though this may still supplement it in some particulars.
The earliest printed accounts which we have of the battle are in the newspapers, and of these a full enumeration is given by Mr. Hunnewell.[550]
What may be called the official statements on the American side were speedily placed before the public, but, strange to say, neither of the two officers who have been held to have directed the conduct of the Americans vouched for any of the early accounts. From Putnam we have nothing. Prescott made no statement, which has come down to us, earlier than in a letter addressed to John Adams, Aug. 25, 1775,[551] though he is said to have assisted the Rev.
RICHARD FROTHINGHAM.
After a steel plate kindly furnished by Mr. Frothingham's son, Mr. Thomas Goddard Frothingham. There is a memoir of Mr. Frothingham, by Charles Deane, in the Mass. Hist. Soc. Proceedings, Feb., 1885, and separately. Mr. Frothingham was born Jan. 31, 1812, and died Jan. 29, 1880. Remarks made to the society at the time of his death are in the Proc. (Feb., 1880), xvii. 329. Cf. R. C. Winthrop's Speeches (1878, etc.), p. 125.
Peter Thacher in a narrative which was prepared within a fortnight, Thacher himself having observed the fight from the Malden side of Mystick River.[552] This Thacher MS. was made the basis of the account which the Committee of Safety, by order of the provincial congress, prepared for sending to England.[553] There have been preserved a large number of letters and statements written by eye-witnesses or by those near at hand, some of them conveying particulars essential to the understanding of the day's events, but most adding little beyond increasing our perceptions of the feelings of the hour.[554]
After the painting belonging to Yale College. Cf. photograph in Kingsley's Yale College, i. 102; engravings in Hollister's Connecticut, i. 234, and Amer. Quart. Reg., viii. 31, 193; and memoir in Sparks's Amer. Biog., xvi. 3, by J. L. Kingsley.
To these may be added various diaries and orderly-books, which are of little distinctive value.[555] There are other accounts, written at a later period, in which personal recollections are assisted by study of the recitals of others, and chief among them are the narrative in Thacher's[189] Military Journal (Boston, 1823), where the account is entered as of July, 1775, and chapter xix. of General James Wilkinson's Memoirs (1816), embodying what he learned in going over the field in March, 1776, with Stark and Reed. Col. John Trumbull saw the smoke of the fight from the Roxbury lines, and gave an outline narrative in his Autobiography (1841).[556] The account in General Heath's Memoirs (Boston, 1798) is short.[557] A few of the earlier general histories of the war were written by those on the American side who had some advantages by reason of friendly or other relations with the actors.[558] Of the still later accounts, Frothingham and Dawson have already been referred to for their bibliographical accompaniments. The diversity of evidence[559] respecting almost all cardinal points of the battle's history has necessarily entailed more or less of the controversial spirit in all who have written upon it, but for thoroughness of research and a fair discrimination combined, the labors of Frothingham must be conceded to be foremost. Dawson is elaborate, and he reveals more than Frothingham the processes of his collations, but his spirit is not so tempered by discretion, and an air of flippant controversy often pervades his narrative. Of the more recent general historians it is only necessary to mention Bancroft[560] and Carrington. The former gave to it three chapters in his original edition, in 1858, which, by a little condensation, make a single one in his final revision, but without material change.[561] The account in Carrington[562] is intended to be distinctively a military criticism.[563]
The troops of Connecticut[564] and New[190] Hampshire[565] were the only ones engaged beside those of Massachusetts.
The question of who commanded during the day has been the subject of continued controversy, arising from the too large claims of partisans. Though there is much conflict of contemporary evidence, it seems well established that Col. William Prescott commanded at the redoubt, and no one questioned his right. He also sent out the party which in the beginning protected his flank towards the Mystick; but when Stark, with his New Hampshire men, came up to strengthen that party, his authority seems to have been generally recognized, and he held the rail fence there as long as he could to cover the retreat of Prescott's men from the redoubt. Putnam, the ranking officer on the field, Warren disclaiming all right to command, withdrew men with entrenching tools from Prescott, and planned to throw up earthworks on the higher eminence, now known as Bunker Hill proper, and near the end of the retreat he assumed a general command, and directed the fortifying of Prospect Hill. It is not apparent, then, that any officer, previous to this last stage of the fight, can be said to have had general command in all parts of the field. The discussion of the claims of Putnam and Prescott has resulted in a large number of monographs, and has formed a particular feature in many of the general accounts of the battle, the mention of some of which has for this reason been deferred till they could be placed in the appended note.[566]
A list of officers in the battle, not named in[191] Frothingham's Siege, is given in the N. E. Hist. and Geneal. Reg., April, 1873; and an English list of the Yankee officers in the force about Boston in June, 1775, is in Ibid., July, 1874. The Lives of participants and observers add occasionally some items to the story.[567]
This follows the reproduction of an engraving in J. C. Smith's Brit. Mezzotint Portraits, p. 1716, which is inscribed: Israel Putnam, Esq., Major-General of the Connecticut forces, and Commander-in-chief at the engagement on Buncker's-Hill, near Boston, 17 June, 1775. Published by C. Shepherd, 9 Sepr 1775. J. Wilkinson pinxt. (Cf. Mass. Hist. Soc. Proc., xix. 102.) There is a French engraving, representing him in cocked hat, looking down and aside, and subscribed "Israel Putnam, Eqre., major général des Troupes de Connecticut. Il commandait en chef à l'affaire de Bunckes hill près Boston, le 17 Juin, 1775." Col. J. Trumbull made a sketch of Putnam, which has been engraved by W. Humphreys (National Portrait Gallery, N. Y., 1834) and by Thomas Gimbrede.
Cf. portraits in Murray's Impartial Hist. (1778), i. 334; Hollister's Connecticut; Irving's Washington, illus. ed., i. 413; and Geschichte der Kriege in und ausser Europa (Nürnberg, 1778).
For lives of Putnam, see Sabin, xvi. no. 66,804, etc. For his birthplace, see Appleton's Journal, xi. 321; Miss Larned's Windham County, Conn. Cf. B. J. Lossing in Harper's Monthly, xii. 577; Evelyns in America, 273; R. H. Stoddard in Nat. Mag., xii. 97.
JOSEPH WARREN.
After a copperplate by J. Norman in An Impartial Hist. of the War in America (Boston, 1781), vol. ii. p. 210. The best known picture of Warren is a small canvas by Copley, belonging to Dr. John Collins Warren, of Boston, which has been often engraved, and is given in mezzotint by H. W. Smith in Frothingham's Life of Warren. The picture in Faneuil Hall is painted after this, and Thomas Illman has engraved that copy. A larger canvas by Copley, painted not long before that artist left Boston for England, is owned by Dr. Buckminster Brown, of Boston, and was engraved for the first time in the Mem. Hist. of Boston, iii. 60, where will be found accounts of various contemporary prints and memorials of Warren (pp. 59, 61, 142, 143), including his house at Roxbury, the manuscript of his Massacre Oration, etc. Cf. Frothingham's Warren, p. 546; Hist. Mag., Dec., 1857; Loring's Hundred Boston Orators, p. 67; Mrs. J. B. Brown's Stories of General Warren; Life of Dr. John Warren; the Warren Genealogy; Mass. Hist. Soc. Proc., Sept., 1866. The earliest eulogy was that by Perez Morton in 1776 (Loring's Hundred Boston Orators, 327; Niles's Principles and Acts, 1876, p. 30), and the earliest memoir of any extent was that by A. H. Everett, in Sparks's Amer. Biography (vol. x.). There are reminiscences in the N. E. Hist. and Geneal. Reg., xii. 113, 234, which were based by Gen. William H. Sumner on some letters published by him in 1825 in the Boston Patriot, when, as adjutant-general of the State, he arranged for the appearance of the Bunker Hill veterans in the celebration of that year, and derived some reminiscences from them respecting Warren's appearance and action during the fight. All other accounts of Warren, however, have been eclipsed by Frothingham's Life of Warren (Boston, 1865). In the Boston Medical and Surgical Journal (June 17, 1875), Dr. John Jeffries (son of the surgeon of the British army who saw Warren's body on the field) published a paper on his death. Cf. also R. J. Speirr in Potter's Amer. Monthly, v. 571; Frothingham's Warren, pp. 519, 523; Barry's Massachusetts, i. 37, and references.
The grateful intentions expressed by the Massachusetts House of Representatives (April 4, 1776), by the Continental Congress (April 8, 1777; Sept. 6, 1778; July 1, 1780,—see Journals of Congress), and by the Congress of the United States (Jan. 30, 1846,—Mass. Hist. Soc. Proc., ii. 337), have never been carried out. Benedict Arnold manifested a special interest in the welfare of Warren's children (N. E. Hist. and Geneal. Reg., April, 1857, p. 122). The Freemasons erected a pillar to his memory on the battlefield in 1794, which disappeared when the present obelisk was begun in 1825. There is a view of the pillar in the Analectic Mag., March, 1818, and in Snow's Boston, 309. Cf. Mass. Hist. Soc. Proc., xiv. 65. A statue of Warren, by Henry Dexter, was placed in a pavilion near the obelisk in 1857. Cf. G. W. Warren's Hist. of the Bunker Hill Monument Association; Frothingham's Warren, p. 547.
Among the anniversary discourses upon the battle, a few will bear reading. The earliest was by Josiah Bartlett in 1794, published by B. Edes, in Boston, the next year. Daniel Webster made a famous address at the laying of the corner-stone of the monument in 1825, which can be found in his Works, i. 59. (Cf. Analectic Mag., vol. xi.; A. Levasseur's Lafayette en Amérique, Paris, 1829.) The same orator, at the completion of the monument in 1843, embodied little of historical interest in his Address. (Works, i. 89.[568]) Alexander H. Everett's Address in 1836 was subsequently inwoven in his Life of Warren. The Rev. George E. Ellis began his conspicuous labors in this field in his discourse in 1841. Edward Everett spoke in 1850 (Orations, etc., iii. p. 3), and Gen. Charles Devens, at the Centennial in 1875, delivered an oration, which was published by the city of Boston. The most noteworthy address since that time was that of Robert C. Winthrop at the unveiling of the statue of Colonel William Prescott, June 17, 1881.[569] This statue, of which an engraving will be found in the Mem. Hist. of Boston (iv. 410), stands near the base of the monument.[570]
We turn now to the accounts on the British side. The orderly-books of General Howe are preserved among Lord Dorchester's (Carleton's) Papers in the Royal Institution, London. Sparks made extracts from them, now in no. xlv. of the Sparks MSS. in Harvard College library. Extracts relating to the dispositions for the day of the battle, and for subsequent days, are given by Ellis (1843) p. 88.[571] Cf. Mag. of Amer. Hist., 1885, p. 214. The more immediate English notes and comments on the battle can be best grouped in a note.[572]
During 1775 there were two English accounts, aiming at something like historical perspective. One of these was, very likely, by Edmund Burke, and was in the Annual Register (p. 133, etc.). The other was An Impartial and Authentic Narrative of the Battle fought on the 17th of June, 1775, between his Britannic Majesty's Troops and the American Provincial Army on Bunker's Hill near Charles Town in New England. The author was John Clark, a first lieutenant of marines. He gives a speech of Howe to his men, representing that it was delivered just as he advanced to the attack, but this and much else in the book are considered of doubtful authenticity.[573]
In 1780 there appeared in the London Chronicle some letters by Israel Mauduit, which were republished the same year as Three letters to Lord Viscount Howe: added, Remarks on the battle of Bunker's Hill (London, 1780), which in a second edition (1781) reads additionally in the title, To which is added a comparative view of the Conduct of Lord Cornwallis and General Howe. There was among the Chalmers' MSS. (Thorpe's Supplemental Catal., 1843, no. 660) a writing entitled Some particulars of the battle of Bunker's Hill, the situation of the ground, etc. (8 pp., 1784), which Chalmers calls a "most curious paper in the handwriting of Israel Mauduit, found among his pamphlets, Jan. 23, 1789."
In 1784 William Carter's Genuine Detail of the Royal and American Armies appeared in London. Carter was a lieutenant in the Fortieth Foot, and his book was seemingly reissued in 1785, with a new title-page. (Brinley, no. 1,789; Stevens, Bibl. Amer., 1885, nos. 80, 81; Harvard Coll. lib., 6351.16.)
Note.—The fac-simile on this page is of a handbill, printed in Boston, giving the tory side of the fight at Bunker Hill,—after an original in the library of the Mass. Hist. Society.
Note.—This sketch of Bunker Hill Battle, made for Lord Rawdon, follows a tracing of the original belonging to Dr. Emmet of New York, furnished to me by Mr. Benson J. Lossing. A finished drawing from this sketch is given in the Mem. Hist. of Boston, vol. iii. Cf. Harper's Mag. xlvii., p. 18. The spire in the foreground is that of the West Church, which stood where Dr. Bartol's church, in Cambridge Street, Boston, now stands, showing that the sketcher was on Beacon hill, 138 feet above the water. The smoke from the frigate to the right of the spire rises against the higher hill where Putnam endeavored to rally the retreating provincials. This hill is 110 feet above the water, and about one mile and a half distant from the spectator. One hundred and thirty rods to the right of this summit is the crown of the lower or Breed's Hill, where the redoubt was, which is 62 feet above the sea. Dr. Emmet secured this picture and another of the slope of the hill, taken after the battle, and showing the broken fences (Mem. Hist. of Boston, iii. 88), at the sale of the effects of the Marquis of Hastings, who was a descendant of Lord Rawdon, then on Gage's staff (Harper's Monthly Mag., 1875). The earliest engraved picture of the battle is one cut by Roman, which was published the same year, and appeared also in Sept., 1775, on a reduced scale, in the Pennsylvania Magazine. It has been reproduced in Frothingham's Centennial: Battle of Bunker Hill (1875), in Moore's Ballad History, and in other of the Centennial memorials. In 1781 a poem by George Cockings, The American War (London), had a somewhat extraordinary picture, which has been reproduced in Gay's Pop. Hist. U. S., iii. 401, by S. A. Drake, and others. In 1786 Col. John Trumbull painted his well-known picture of the battle, which has been often engraved. (Cf. Trumbull's Autobiography; N. E. Hist. and Geneal. Reg., xv.; Tuckerman's Book of the Artists; Harper's Magazine, Nov., 1879.) Trumbull claimed that the following figures in his picture were portraits: Warren, Putnam, Howe, Clinton, Small, and the two Pitcairns.
In the Mass. Magazine, Sept., 1789, there is a view of Charlestown, showing Bunker's and Breed's hills, with their original contours. It is reproduced in Mem. Hist. Boston, iii. 554, with a note upon other early views. Frothingham (Siege, p. 121) gives one from an early manuscript which closely resembles the topography of the Rawdon sketch; and again (Centennial, etc.) another which is in fact the perspective sketch of the town at the edge of Price's view of Boston (1743), converted into a panoramic picture (Mem. Hist. of Boston, ii. 329).
The Gentleman's Mag., Feb., 1790, has a view of Charlestown, with the tents of the British army on the hill, taken after the battle, and from Copp's Hill. It shows the wharves and ruins of the town. (Cf. note in Mem. Hist. Boston, iii. 88.)
The account of the loyalist Jones (N. Y. during the Rev., i. 52) has his usual twist of vision, though he is severe on Gage for "taking the bull by the horns" in making an attack in front.
CHARLESTOWN PENINSULA, 1775.
Sketched from a plan by Montresor, showing the redoubt erected by the British, after June 17, on the higher eminence of Bunker Hill. The original is in the library of Congress, where is a plan on a large scale of this principal redoubt.
The long list of general histories on the British side, detailing the events of the battle, begins with Murray's Impartial Hist. of the War (London, 1778; Newcastle, 1782), and is made up during the rest of that century by the Hist. of the War published at Dublin (1779-85); Hall's Civil War in America (1780); The Detail and Conduct of the Amer. War (1780); Andrews's Hist. of the War (1785, vol. i. 301,—quoted at length by Ryerson, Loyalists, i. 461); Stedman, Hist. Amer. War (London, 1794, vol. i. 125). The best of the later historians is Mahon (Hist. of England, vi.), who was forced to admit, when pressed upon the question, that the American claims of victory, which he says they have always held, appear only in the reports of later British tourists (vol. vi., App. xxix.). Lecky, in his brief account (England in the Eighteenth Century, iii. 463), makes an intention of Gage to fortify the Charlestown and not the Dorchester heights the incentive to the American occupation of the former. Edw. Bernard's History of England (London) has a curious "View of the Attack on Bunker's Hill, with the burning of Charlestown."
Something confirmatory, rather than of original value, can be gained from the histories of various regiments which took part in the battle, as detailed in the series of Historical Records of such regiments.[574]
The battle almost immediately found commemoration in British ballads (Hist. Mag., ii. 58; v. 251; Hale's Hundred Years Ago, p. 7), and the slain were commemorated in elegiac verses, as in M. M. Robinson's To a young lady, on the death of her brother, slain in the late engagement at Boston (London, 1776). The same year there appeared at Philadelphia The Battle of Bunker's Hill, a dramatic piece in five acts, in heroic measure, by a gentleman of Maryland.
Note.—The references in the corner of this cut, too fine to be easily read in this reduced fac-simile, are as follows:—
"A A. First position, where the troops remained until reinforcements arrived.
B B. Second position.
C C C. Ground on which the different regiments marched to form the line.
D D. Direction in which the attack was made upon the redoubt and breastwork.
E E. Position of a part of the 47th and marines, to silence the fire of a barn at E.
F. First position of the cannon.
G. Second position of the cannon in advancing with the grenadiers, but stopped by the marsh.
H. Breastwork formed of pickets, hay, stones, etc., with the pieces of cannon.
I I. Light infantry advancing along the shore to force the right of the breastwork H.
L L. The "Lively" and "Falcon" hauled close to shore, to rake the low grounds before the troops advanced.
M M. Gondolas that fired on the rebels in their retreat.
N. Battery of cannon, howitzers, and mortars on Copp's Hill, that battered the redoubt and set fire to Charlestown.
O O O. The rebels behind all the stone walls, trees, and brush-wood, and their numbers uncertain, having constantly large columns to reinforce them during the action.
P. Place from whence the grenadiers received a very heavy fire.
Q. Place of the fifty-second regiment on the night of the 17th.
R. Forty-seventh regiment, in Charlestown, on the night of the 17th.
S. Detachments in the mill and two storehouses.
T. Breastwork thrown up by the remainder of the troops on the night of the 17th.
Note. The distance from Boston to Charlestown is about 550 yards."
Its author is said to be Hugh Henry Brackenridge, and the frontispiece, "The Death of Warren", by Norman, is held to be the earliest engraving in British America by a native artist (Hunnewell, p. 13; Brinley, no. 1,787; Sabin, ii. 7,184; xiv. 58,640). In 1779 there was printed at Danvers, America Invincible, an heroic poem, in two books: a Battle at Bunker Hill, by an officer of rank in the Continental army (Hunnewell, p. 13). In 1781 an anonymous poem was published in London, known later to be the production of George Cockings, and called The American War, in which the names of the officers who have distinguished themselves during the war are introduced (Brinley, no. 1,788; Hunnewell, p. 14). Of later use of the battle in fiction, it is only necessary to name Cooper's novel of Lionel Lincoln and O. W. Holmes's Grandmother's Story of Bunker Hill Battle (Mass. Hist. Soc. Proc., 1875, p. 33).
The chief enumerations which have been heretofore made of the plans of the battle of Bunker Hill are by Frothingham, in Mass. Hist. Soc. Proc., xiv. 53; by Hunnewell in his Bibliog. of Charlestown, p. 17; and by Winsor in the Mem. Hist. of Boston, iii. (introduction). The earliest rude sketches are by Stiles in his diary (Dawson, p. 393), and one formed by printer's rules in Rivington's Gazetteer, Aug. 3, 1775 (Frothingham's Siege, p. 397, and Dawson, p. 390). Montresor, of the British engineers, very soon made a survey of the field, and this was used by Lieutenant Page in drawing a plan of the action, which he carried to England with him when, on account of wounds received while acting as an aid to Howe, he was given leave of absence (Mass. Hist. Soc. Proc., June, 1875, p. 56). In the Faden collection (nos. 25-30) of maps in the library of Congress there are Page's rough and finished plans, drawn before the British works on the hill were begun, and also plans by Montresor and R. W., of the Welsh Fusiliers. Page's plan, as engraved, was issued in London in 1776, and called A Plan of the Action at Bunker's Hill.[575]
Page's, however, was not the first engraved. One "by an officer on the spot" was published in London, Nov. 27, 1775, called Plan of the battle on Bunker's Hill. Fought on the 17th of June, which was issued as a broadside, with Burgoyne's letter to Lord Stanley on the same sheet. The central position of the Americans is called "Warren's redoubt." This is reproduced in F. Moore's Ballad History of the Revolution.
Another contemporary British plan—discovered probably "in the baggage of a British officer", after the royal troops left Boston in March, 1776, but not brought to light till forty years later, when it was mentioned in a newspaper in Wilkesbarre, Penn., as having been found in an old drawer—was one made by Henry de Bernière, of the Tenth Royal Infantry, on nearly the same scale as Page's, but less accurately.
It was engraved in 1818 in the Analectic Magazine (Philad., p. 150), and a fac-simile of that engraving is annexed. The text accompanying it states that its general accuracy had been vouched for by Governor Brooks, General Dearborn, Dr. A. Dexter, Deacon Thos. Miller, John Kettell, Dr. Bartlett, the Hon. James Winthrop, and Mr. [Judge] Prescott. General Dearborn and Deacon Miller thought the rail fence too far in the rear of the redoubt, having been really nearly in the line of it. Judge Winthrop and Dr. Bartlett thought the map in this particular correct. There was the same division of belief regarding the cannon behind the fence, Dearborn and Miller believing there were none there, Brooks and Winthrop holding the contrary. Other witnesses represented to the editor of the Magazine that there was no interval between the breastwork and the fence, but that an imperfect line of defence connected the redoubt with the Mystick shore, as represented in Stedman's (Page's) map.[576]
In the Portfolio (March, 1818) General Dearborn criticised the plan (Dawson, p. 406), and, using the same plate in his separate issue of his comments, he imposed in red his ideas of the position of the works, and this was in turn criticised by Governor Brooks.[577] Mr. G. G. Smith made a (plan) Sketch of the Battle of Bunker Hill by a British Officer (Boston, 1843), which grew out of the plan and the comments on it. Bernière's plan was also used by Colonel Swett as the basis of the one which he published in his History of the Battle of Bunker Hill (1828, 1826, 1827), which has been frequently copied (Ellis, Lossing, etc.). The latest attempt to map the phases of the action critically is by Carrington in his Battles of the Revolution (p. 112), who gives an eclectic plan. Plans adopting the features of earlier ones are in the English translation of Botta's War of Independence, Grant's British Battles (ii. 144). A plan of the present condition of the ground, by Thomas W. Davis, superposing the line of the American works, is given in the Bunker Hill Monument Association's Proceedings (1876). A map of Charlestown in 1775 with a plan of the battle was prepared and published in 1875 by James E. Stone. A plan of the works as reconstructed by the British, and deserted by them in March, 1776, is given in Carter's Genuine detail, etc. (London, 1784), which is reproduced in Frothingham's Siege, p. 330. Other MS. plans of their works on both hills are in the Faden maps in the library of Congress.
Before the war closed a plan was engraved by Norman, a Boston engraver, which is the earliest to appear near the scene itself. This was a Plan of the town of Boston with the attack on Bunker's Hill, in the peninsula of Charlestown, on June 17, 1775 (measuring 11-1/2 × 7 inches), which is, however, of no topographical value as respects the action. It appeared in Murray's Impartial History (1778), i. p. 430, and in An Impartial History of the War in America (Boston, 1781, vol. i.), and a reduced fac-simile of it is annexed.[578]
C. The American Camp.—A variety of journals and diaries have been preserved, the best known of which is that of Dr. Thacher, a surgeon on Prospect Hill.[579]
The daily life of the Cambridge camp is best seen in the letters sent from it, and foremost in interest among such are those of Washington.[580] From the Roxbury camp there are letters of General Thomas in the Thomas Papers, where is one of Dr. John Morgan, the medical director. Several from Jedediah Huntington are preserved in the Trumbull Papers, and are printed in the Mass. Hist. Soc. Coll., xlix.[581] The principal letters from the Winter Hill camp are those of General Sullivan,[582] and a few have been printed written at the Prospect Hill camp.[583]
Something of the spirit prevailing in Watertown, where the Provincial Congress was sitting, can be seen in the letters of James Warren and Samuel Cooper.[584]
There are in the library of the Amer. Antiq. Soc. at Worcester several orderly-books of the siege,[585] and others are preserved elsewhere.[586]
D. The British Camp.—The condition of Boston during the siege must be learned from various sources. The Boston News-Letter was still published, but numbers of it are very scarce for this period, and no other of the Boston newspapers continued to be published in the town.[587] It was a convenient vehicle for the British generals, and any morsel of news likely to be distasteful to the patriots, like the intercepted correspondence of Washington and John Adams, was pretty sure to reach the American lines through its columns. The correspondence of the generals is preserved in the British Archives and in the papers at the Royal Institution (London), and occasionally some few letters, like those of Percy in the Boston Public Library, have been found elsewhere. It is charged that Gage's papers were stolen in Boston.[588] Some new glimpses were got when Fonblanque published his Life of Burgoyne.[589] The best accounts of the succession of events in the town and the daily life are found in Dr. Ellis's "Chronicles of the Siege",[590] and in Mr. Horace E. Scudder's "Life in Boston during the Siege", a chapter in the Memorial Hist. of Boston, vol. iii.,[591] which may be consulted (p. 154) for various sources respecting the details of the privations and amusements of the people and the garrison, and of the vicissitudes of its buildings and landmarks.[592] An account of the British works in Boston is given in Frothingham's Siege of Boston, and the Mem. Hist. Boston, iii. 79. The current record of the outposts, etc., is noted in Moore's Diary of the Rev., 109, etc. Carrington (Battles, 154) refers to a MS. narrative of experiences in the town by one Edw. Stow. Some of the correspondence of the Boston selectmen with Thomas, at Roxbury, is in the Thomas Papers. It is, however, to the diaries, letters, and orderly-books which have been preserved that we must go for the details of life in the beleaguered town.[593]
E. Boston Evacuated.—The letters of Washington[594] best enable us to follow the movements, but they may be supplemented by other contemporary accounts.[595]
Howe's despatch to Dartmouth, dated Nantasket Roads, is in Dawson, i. 94.[596] His conduct of the siege is criticised in A view of the evidence relative to the Conduct of the American War (1779). Contemporary dissatisfaction was expressed in an ironical congratulatory poem published in London (Sabin, iv., 15,476).
One Crean Brush,[597] acting under orders of Howe, endeavored to carry off the merchandise from the stores of the town, so far as he could, on a vessel put at his disposal. Howe's proclamation in his favor is in fac-simile in the Mem. Hist. of Boston, iii. 97. Brush's vessel was later captured by Manly (Evacuation Memorial, 166). Similar experience in trying to escape with his merchandise was suffered by Jolley Allen, as portrayed in his Account of a part of his sufferings and losses, ed. by C. C. Smith, given in Mass. Hist. Soc. Proc., Feb., 1878, and separately. Allen's narrative was reprinted in the spelling of the original MS. in An Account of a part of the sufferings and losses of Jolley Allen, a native of London, with a preface and Notes by Mrs. Frances Mary Stoddard (Boston, 1883). An inventory of the stores left by the British is in the Siege of Boston, 406.[598] In the cabinet of this society is a handbill adopted by the freeholders of Boston, Nov. 18 [1776?], calling upon all who had suffered in property in Boston since March, 1775, to report the same to a committee.[599]
Washington's instructions (April 4, 1776) to Ward are in the printed Heath Papers, P. 4. The Mass. legislature, April 30, 1776, ordered beacons to be set at Cape Ann, Marblehead, and Blue Hill, ready to be fired in case of the enemy's reappearing, which was for a long time dreaded. Ward writes to Washington of his measures in progress.[600]
The correspondence of John Adams and John Winthrop (Mass. Hist. Coll., xlv.) shows constant anxiety lest the defences should not be prepared in case of need.[601]
SIEGE OF BOSTON, 1776.
The westerly half of the map in the octavo atlas of Marshall's Washington, which is a reduction of the map in the earlier quarto atlas (1804). It is reproduced in the French translations of Marshall and of Botta.
The cut on the title of the present volume represents one side of the medal given by Congress to Washington, to commemorate his raising the siege of Boston.[602]
F. Maps of the Siege of Boston.—Plans of Boston and its neighborhood, including its harbor, for the illustration of the siege of Boston, are numerous, and the account of them given in the Mem. Hist. of Boston (iii., introd.) is in the main followed in the present enumeration, which divides them into those of American, English, French, and German origin, and adheres as far as possible to the order of publication in each group.
The earliest American is the 1769 (or last) edition of what is known as Price's edition of Bonner's map of Boston, which had done service since 1722 by successive changes in the plate, this last issue showing Hancock's Wharf, and "Esqr. Hancock's seat" on Beacon Street.[603] This map sufficed for local use till the events of 1775 induced new interest in the topography, when the earliest response came from Philadelphia, where C. Lownes engraved A new plan of Boston Harbour from an actual survey, for the Pennsylvania Magazine. It presented a reminder of the great event of the year in its "N. B. Charlestown burnt, June 17, 1775, by the Regulars." There is another Draught of the Harbour of Boston and the adjacent towns and roads, a manuscript, dated 1775, among the Belknap Papers, i. 84, in the cabinet of the Mass. Hist. Society. The same Pennsylvania Magazine, the next month (July, 1775), gave as engraved by Aitkins A new and correct plan of the town of Boston and Provincial Camp. The town seems to be taken from a plan which had appeared in the Gentleman's Magazine (London) the previous January; but in one corner was added a plan of the circumvallating lines of the besieging army.[604] Later in the season two other plans were made, showing the American lines, which were not published, however, till long after. One is given in Force's American Archives, 4th series, vol. iii.,[605] and the other was made by Col. John Trumbull, in Sept., 1775, which was published in his Autobiography in 1841.[606] Of about the same time is another very small Plan of Boston and its environs, showing the circumvallating lines, which is in one corner of a large Map of the Seat of Civil War in America, engraved by B. Romans, and dedicated to Hancock. There is also, in the library of the Mass. Hist. Society, a rude plan of the harbor and vicinity, showing the positions of the provincials, which are reckoned at 20,000, while the royal forces are put at 8,000. I find no other American plan till Norman's, in 1781, reproduced on another page; and not another till The Seat of the late War at Boston appeared in the Universal Asylum and Columbian Magazine, July, 1789, p. 444, but this is a rather scant map of the country as far inland as Worcester. Gordon had the year before this given a map in his American Revolution (London, 1788) based on English sources; but it has been the foundation of most of the eclectic maps since published in this country.[607]
In 1822 a Mr. Finch printed in Silliman's Journal an account of the traces then remaining of the earthworks of the siege, both American and British.[608] There is an enumeration of the different sections of the lines, within and without Boston, in the Mem. Hist. Boston (vol. iii. 104).[609]
The earliest English plan of this period is one called A plan of Boston and Charlestown from a drawing made in 1771, which occupies the margin of a larger map, engraved for The Town and Country Magazine in 1776, later to be mentioned. The Catalogue of the King's Maps (British Museum) shows a colored plan of Boston and vicinity (1773) in the centre of a large sheet, with marginal views (later to be described).
In 1774 a Plan of the town of Boston made part of a Chart of the Coast of New England, which appeared in the London Magazine, April, 1774, and in The American Atlas, issued by Thomas Jefferys in London, in 1776. This map seems to be the model of a New and accurate Plan of the town of Boston, which is engraved in the corner of A Map of the most inhabited part of New England, by Thomas Jefferys, Nov. 29, 1774, usually also found in The American Atlas (1776, nos. 15 and 16). This map is found with the date 1755, even after changes of a later date had been made in the plate.[610] The original map has also a marginal plan of Boston harbor (Mass. Hist. Soc. Proc., September, 1864).
The earliest English map of 1775 is one which appeared in the Gentleman's Magazine (January, 1775), though it is dated Feb. 1, 1775. It shows the town and harbor.[611]
In the June number of the Gentleman's Magazine is a "map of the country one hundred miles round Boston, in order to show the situation and march of the troops, as well provincial as regulars, which are now within sight of each other, and are hourly expected to engage."
In June, 1775, was also made a not very accurate map of the town and its environs, which was published in London, Aug. 28, to satisfy the eagerness for a map of the region to which the news of the battle of Bunker Hill had turned all eyes. It is to be found in the first volume of Almon's Remembrancer, and is reproduced herewith. A few weeks after the fight at Charlestown there was probably made in Boston the MS. plan of Boston and circumjacent Country, showing the present situation of the king's troops and the rebel intrenchments. It is dated July 25, 1775, and is owned by Dr. Charles Deane.[612]
The largest chart which we have of Boston harbor of this period is dated August 5, 1775, and was the work of Samuel Holland, the surveyor-general of the Northern colonies, who was for some years employed on a coast survey.[613] It takes in Nahant, Nantasket, and Cambridge, and was based principally on the surveys of George Callendar (1769).[614] When Des Barres included it in his Atlantic Neptune (part iii., no. 6, 1780-1783), he marked in the besieging lines, and dated it Dec. 1, 1781, and in this state Des Barres also used it in his Coast and Harbors of New England.[615]
A map showing thirty miles round Boston, and bearing date Aug. 14, 1775, is in the king's library (British Museum), and is signed by M. Armstrong. It has marginal statistical tables, and in the upper right-hand corner is a plan of the "action near Charlestown, 17 June, 1775."[616] There is among the Force maps in the library of Congress the MS. original of the map (sketched herewith as Boston and Charlestown, 1775), which is called A Draught of the Towns of Boston and Charlestown and the circumjacent country, shewing the works thrown up by his Majesty's Troops, and also those by the Rebels during the campaign of 1775. N. B. The rebel entrenchments are expressed as they appear from Beacon Hill.
On August 28th the British town-major in Boston, James Urquhart, licensed Henry Pelham to make a Plan of Boston with its environs. It was engraved in aquatints in London, on two sheets, and not published till June 2, 1777. Dr. Belknap, who was much troubled to find a correct plan of the town for this period, thought Pelham's was the best.[617]
BOSTON AND CHARLESTOWN, 1775.
There are among the Faden MSS. in the library of Congress two MS. maps. One is probably the best plan of Boston itself of this period, and the other the best of those of the vicinity.[618] They represent the conditions of 1775, though they were not engraved and published by William Faden in London till Oct. 1, 1777, and Oct. 1, 1778, respectively. They are both, in the main, after a survey by William Page, of the British engineers. The first is called A Plan of the Town of Boston, with the Intrenchments, etc., of his Majesty's forces in 1775, from the observations of Lieut. Page and from the plans of other gentlemen. It gives the peninsula only, with a small portion of Charlestown, and was again issued in Oct., 1778.[619] The second is Boston, its environs and harbour, with the Rebels' works raised against that town in 1775, from the observations of Lieut. Page, and from the plans of Capt. Montresor. It includes Point Alderton, Chelsea, Cambridge, and Dorchester, and there is a copy in the library of the Mass. Hist. Society.
BRITISH LINES ON BOSTON NECK, 1775-76.
This is from Page's Plan of the Town of Boston, published in London in 1777, and is accompanied by the following Key:—a, redoubt; b, block-house for cannon; c, six 24-pounders, 2 royals; d, four 9-pounders; e, six 24-pounders; f, left bastion; g, right bastion; h, h, guard-houses; i, i, traverses; k, k, magazines; l, l, abattis; m, m, m, routes-du-pols; n, block-house for musketry; o, floating battery, 2 guns; p, p, fleches, 1 sub. and 20 men. The building beyond the outer lines and near the edge of the upland is Brown's house, the scene of skirmishes during the siege (Mem. Hist. of Boston, iii. 80; Heath's Memoirs). The narrowest part of the neck was at the present Dover Street where it intersects Washington Street. The foundations of the main works at this point were laid bare in digging a drain in March, 1860. The outer works were just within Blackstone and Franklin squares. There are views of these lines in the Faden Collection in the library of Congress, dated August, 1775, probably the original of the engraved views which accompany Des Barres' coast survey, and of which there are reproductions in the Mem. Hist. of Boston, iii. 80. Cf. also Frothingham's Siege, p. 315. The same Faden Collection has a pen-and-ink plan of the lines, dated Aug., 1775 (no. 37 of the Catal.).
During the summer of 1775, John Trumbull, then an aid to General Spencer, crawled up, under cover of the tall grass, near enough to the British lines to sketch them; but a continuance of the hazardous exploit was soon rendered unnecessary by the desertion of a British artilleryman, who brought with him a rude plan of the entire work. So Trumbull says in his Autobiography, p. 22. Washington, on comparing this surreptitious sketch with the deserter's plan, found them so nearly to correspond that Trumbull thinks his own future promotion probably arose from it. Trumbull's sketch and the memorandum of the deserter "from the Welsh fusileers" seem to have been the basis of a careful drawing of the British lines, prepared apparently at headquarters in Cambridge, as it bears the handwriting of Washington's aid, Thomas Mifflin, an explanatory table of the armament in the works. This found its way into that portion of the Papers of Arthur Lee which went to the Amer. Philosophical Society in Philadelphia, and from it a reduced heliotype is given in the Mem. Hist. of Boston, iii. p. 80. Washington sent a copy of the plan, nearly duplicate, to Congress, and this is given in Force's Amer. Archives, 4th ser., i. p. 29, and is reproduced on a smaller scale in Wheildon's Siege and Evacuation of Boston, p. 34. (Cf. Mass. Hist. Soc. Proc., April, 1879, p. 62.) There are two other American drawings of the lines, of less importance. One is in the Pennsylvania Magazine for Aug., 1775, and is called An exact plan of Gen. Gage's lines on Boston Neck in America, July 31, 1775. The other is a small marginal view of The Lines thrown up on Boston neck by the ministerial army, making part of the Seat of the Civil War, by Romans. A rude powder-horn plan is noted in the Mass. Hist. Soc. Proc. (Nov., 1881), xix. 103. One of the Faden MS. plans shows a proposed star redoubt at a point outside the lines.
In October, 1775, an "Engineer at Boston", Lieut. Richard Williams, made and sent over to England a plan showing the "redoubt taken from the rebels by General Howe", the British camp on the higher summit of Bunker Hill, together with the American lines at Cambridge and Roxbury. In London it was compared with "several other curious drawings", from which additions were made, when it was published by Andrew Dury, March 12, 1776, as engraved by Jno. Lodge for the late Mr. Jefferys, and called Plan of Boston and its environs, showing the true situation of his Majesty's Army, and also those of the rebels.[620] In the same month (Oct., 1775) a Plan of Boston, with Charlestown marked as in ruins, appeared in the Gentleman's Magazine (p. 464). Another Map of Boston and Charlestown, by an English officer present at Bunker Hill, was published in London, Nov. 25, 1775. The last map made during the British occupation of Boston was An accurate map of the Country round Boston in New England, published by A. Hamilton, Jr., near St. John's Gate, Jan. 16, 1776, appearing in the Town and Country Magazine. It measures 11-1/2 × 12-1/2 inches, and extends from Plymouth to Ipswich, and inland to Groton and Providence.
The evacuation of Boston in March, 1776, removed the centre of interest elsewhere, but there was for some time an apprehension of the return of the British for a naval attack; and while the Americans were fortifying the harbor, the English were publishing in London several maps of its configuration. The earliest was a Chart of Massachusetts Bay and Boston Harbour, published April 29, 1776. With the date changed to Dec. 1, 1781, it was subsequently included by Des Barres in the Atlantic Neptune, and in the Charts of the Coast and Harbors of New England, 1781.[621] Another Chart of Boston Bay, whose limits include Salem, Watertown, and Scituate, following Holland's surveys, was published Nov. 13, 1776, and later appeared, dated Dec. 1, 1781, in the Atlantic Neptune, and in the Coast and Harbors of New England. A chart of the harbor, with soundings, was also included in the North American Pilot for New England (London, 1776), showing a solitary tree on the peninsula marked "Ruins of Charlestown." There was a second edition of the Pilot in 1800. A small plan of the harbor is also in the margin of Carrington Bowles's Map of the seat of war in New England (London, 1776).
The first eclectic map was that published by Gordon in his Amer. Revolution (London, 1788), which he based on Pelham's map for the country, and Page's for the harbor.[622]
The French maps published in Paris were almost always based on English sources. Such were the Carte de la baye de Baston (no. 30), and Plan de la ville de Baston (no. 31), in Le Petit Atlas maritime, vol. i., Amérique Septentrionale, par le S. Bellin, 1764. There are several other French maps without date, but probably a little antedating the outbreak of hostilities. Such are a Plan de la ville et du port de Boston, published by Lattré in Paris;[623] and a small map, Plan de la ville de Boston et ses environs, engraved by B. D. Bakker. An engraved map, without date, is in the British Museum, called Carte des environs de Boston, capitale de la Nlle Angleterre en Amérique.[624] It carries the coast from below Plymouth to above the Merrimac. There is in the Poore collection of maps in the Mass. State Archives a Carte de la baye de Baston (marked Tome i. no. 30).
The only dated map of this period is a Carte du porte et havre de Boston, par le Chevalier de Beaurain (Paris, 1776). The corner vignette shows a soldier bearing a banner with a pine-tree. Frothingham, who reëngraved this picture, could find no earlier representation of the pine-tree flag.
The English (1774) map of the "most inhabited part of New England" was reproduced "after the original by M. Le Rouge, 1777", under the title of La Nouvelle Angleterre en 4 feuilles; and it was again used in the Atlas Ameriquain Septentrional, à Paris, chez Le Rouge (1778), repeating the map of Boston, with names in English and descriptions in French. Another reproduction from the English appeared in the Carte particulière du Havre de Boston, reduite de la carte anglaise de Des Barres par ordre de M. de Sartine (1780). It belongs to the Neptune Americo-Septentrional, publié par ordre du Roi.
There is among the Rochambeau maps (no. 14), in the library of Congress, a Plan d'une partie de la rade de Boston, done in color, about eight inches wide by sixteen high, showing the forts and giving an elaborate key.
There is a curious map of Boston and its harbor, with names in Latin, but apparently of German make, Ichnographia urbis Boston and Ichnographia portus Bostoniensis, which make part of a larger map, perhaps the Nova Anglia of Homann of Nuremberg. The Geschichte der Kriege in und ausser Europa, published also at Nuremberg in 1776 (erste theil) has a map of Boston. Of the same date (1776), and belonging to the Geographische Belustigungen für Erläuterung der neuesten Weltgeschichte (Zweytes Stück), published at Leipsic, is a Carte von dem Hafen und der Stadt Boston, following the French map of Beaurain even to reproducing the group with the pine-tree banner. It embraces a circuit about Boston of which the outer limits are Chelsea, Cambridge, Dorchester, Long Island, Deer Island, and Pulling Point.
G. The Capture of Ticonderoga, 1775.—It is in dispute who planned and who conducted the capture of Ticonderoga. On Feb. 21, 1775, Col. John Brown had suggested it to Warren (Force's Archives). Arnold made a statement of the post's defenceless condition to the Committee of Safety in Cambridge, April 30, 1775 (Mass. Archives, cxlvi. p. 30; Amer. Bibliopolist, 1873, p. 79). On the 2d of May he was given a money credit and munitions, and on the 3d he was definitely instructed to organize his party (Mass. Archives, cxlvi. p. 39). It is claimed that some purpose of acting on the suggestion of Brown prompted in part, at least, the Massachusetts provincial congress to appoint early in April a committee to proceed to Connecticut and the other New England colonies. Whether it was by their instigation, by certain movements in Connecticut, or by the direct agency of Arnold that the plan was formed, it is difficult to say. It is also claimed that the plan grew out of a conference with the Massachusetts delegates to the Philadelphia Congress, when, on their way, they stopped at Hartford and held a session with Governor Trumbull and his council (Force's Archives, ii. 507; Wells's Sam. Adams, ii. 298). Bancroft and the Connecticut antiquaries find the beginning rather in the impulses of one Parsons, who had just returned from Massachusetts, and had got from Benedict Arnold, whom he met on the way, a statement of the plunder to be obtained there, and, without any formal consent of the governor and council, proceeded in the organization of a committee in Connecticut (Bancroft, orig. ed., vii. 338; final revision, iv. 182). Official sanction was first evoked when Massachusetts, a few days later, commissioned Arnold (Mass. Archives, cxlvi. 130, 139; American Bibliopolist, 1873, p. 79; N. Y. Hist. Soc. Proc., 1844, p. 14). The Connecticut antiquaries have mainly set forth the claims of their colony for leadership of the affair in the papers which constitute vol. i. (pp. 163-185) of the Conn. Hist. Soc. Collections, in which is the journal of Edward Mott,[625] the chairman of the Connecticut committee, edited by J. H. Trumbull.[626]
The part taken in the movement in Western Massachusetts arose from confidence reposed in Brown and others of Pittsfield, by the Connecticut men who passed through that town on their way to the New Hampshire Grants.[627] Brown had, during the previous winter, notified the Massachusetts committee that Ticonderoga would receive the attention of Ethan Allen and Green Mountain boys as soon as the outbreak came. The credit which attaches to this commander is complicated by the relations which Arnold bore to the final capture, and has in turn given rise to controversy. The most comprehensive[214] examination of the question on the Vermont side is L. E. Chittenden's Addresses before the Vermont Historical Society, Oct., 1872 (published at Rutland by the society), and at the unveiling of Allen's statue at Burlington, July 4, 1873. We have Allen's own statements in his Narrative of his captivity, etc.[628]
Dawson thinks that the merit of originating the active measures cannot be taken from Benedict Arnold, and in his chapter (Battles of the United States, i. ch. 2) on the subject traces minutely the sources of each step in the progress of events, and in his Appendix (p. 38) prints the protest (May 10th, p. 38) of the Connecticut committee against Arnold's interference and Arnold's report (May 11th, p. 38) to the Massachusetts Congress.[629] There are some of the current reports preserved in Moore's Diary of the Amer. Revolution (i. pp. 78-80), and the account, which ignores Arnold, of the Worcester Spy (May 16th) is given in the Amer. Bibliopolist (1871, p. 491). There are other contemporary accounts in the American Archives (vols. ii. and iii.); a journal by Elmer is in the New Jersey Hist. Soc. Proc., vols. ii. and iii.; a Tory account in Jones's New York during the Revolutionary War (vol. i. pp. 47, 546), with a letter of May 14th.[630] Narratives by Caldwell and Beaman are in the Historical Magazine, August, 1867, and May, 1868, respectively.[631]
H. The Canada Campaign, 1775-1776.—Washington in New York, June 25th, entrusted to Schuyler the command in the North (Lossing's Schuyler, i. 330; Jones's N. Y. during the Rev. War, 58), and Congress issued (May 29, 1775) an address to the Canadians (Journal of Congress; Pitkin's United States, i. App. 19). In August it was reported that this address was left at the door of every house in Canada. Schuyler reached Ticonderoga July 18th (Lossing's Schuyler, i. ch. 21; Palmer's Lake Champlain, ch. 6; Irving's Washington, ii.), and pushed on to the foot of Lake Champlain in September (Lossing, i. ch. 23).
Among the early reports, inducing the project of invading Canada, were the letters of Maj. John Brown (Aug. 14, 1775) and Ethan Allen (Sept. 14th) respecting the condition of the Canadians (Sparks's Corresp. of the Rev., i. 461, 464). There are other letters on the state of Canada at this time in the N. H. Prov. Papers, vii. 515, 547, 561-62, 569. The Schuyler Papers, with the letters which they contain of Montgomery, Arnold, Wooster, and Sullivan, are a main source of information respecting the whole campaign.[632]
FROM THE ATLAS OF WILKINSON'S MEMOIRS.
A modern eclectic map is given in Carrington's Battles, 171. The most considerable contemporary map for the illustration of the movements during the Revolution in Canada is one published by Jefferys, in 1776, of the Province of Quebec, from the French Surveys and those made by Capt. Carver and others after the War, with much detail of names, plan of Quebec and heights of Abraham, Montreal and isles of Montreal (27 x 19 inches). On Feb. 16, 1776, Sayer and Bennett published in London A new map of the Province of Quebec according to the royal proclamation of 7 Oct., 1763, from the French surveys, corrected with those made after the war by Captain Carver and other officers in his majesty's service. There was a French reproduction of it in Paris in 1777, included in the Atlas Ameriquain (1778), called Nouvelle Carte de la Province de Quebec selon l'édit du Roi d'Angleterre du 7 8{bre}, 1763, par le Capitaine Carver, traduites de l'Anglois, à Paris chez le Rouge, 1777.
Jefferys also issued in 1775 An exact Chart of the River St. Lawrence from Fort Frontenac to Anticosti (37 X 24 inches), which is usually accompanied by a Chart of the Golf of St. Lawrence, 1775(24 X 20 inches). North Amer. Pilot, nos. 11, 20, 21, 22. There is in the Geschichte der Kriege in und ausser Europa [Nuremberg], 1776, a "Karte von der Insel Montreal und den Gegenden umher", following a plan by Bellin.
A map of Canada in 1774 is embraced in Mitchell's Map of the British Colonies, and in Wright's ed. of Cavendish's Debates in the Commons (1774) on the Canada bill, London, 1839. There are other maps in the American Atlas and Hilliard d'Auberteuil's Essais.
Schuyler's health preventing his taking the field in person, the interest in the campaign centres[216] in Montgomery up to the time of his death.[633] We have despatches of his (Nov. 3, 1775) on the capture of St. Johns,[634] on the taking of Chamblée,[635] and on the capitulation of Montreal,[636] with his letters from before Quebec (Sparks, Corresp., i. 492, etc.). A letter from one of his aids at this time (Dec. 16, 1775) is in Life of George Read, p. 115.
The principal Life of Montgomery is that by J. Armstrong, in Sparks's Amer. Biography (i. p. 181), which may be supplemented by other minor accounts.[637]
The connection of Benedict Arnold with the Campaign is illustrated in his letters, beginning with those before he left the column advancing by Lake Champlain, and then following his progress[217] on the expedition to coöperate by the Kennebec route, which Washington proposed to Schuyler in a letter of Aug. 20, 1775 (Sparks's Washington, iii. 63). On Sept. 14th Washington sealed his instructions to Arnold (Sparks, iii. 86; Dawson, 113; Henry's Journal, ed. 1877, p. 2). It is said that the route to be taken was suggested to Arnold by the journal of an exploration in that direction by Montresor in 1760.[638] That engineer had, by order of General Murray, made a survey of this route in 1761.[639] There are maps to illustrate Arnold's route in the Atlantic Neptune, London Mag., 1776, Marshall's Atlas to his Washington, and in the 1877 edition of Henry's Journal.[640] All the general histories and a few biographies and local records necessarily cover the story.[641] Arnold himself is the best contemporary authority.
CAPITULATION OF ST. JOHNS.
Fac-simile, slightly reduced, of the reproduction in Smith's Amer. Hist. and Lit. Curios., 2d series, p. xl., from the original in the collection of Ferdinand J. Dreer, of Philadelphia.
A number of his letters respecting the expedition are in Bowdoin College library,[642] and they and others will be found in print in the Maine Hist. Soc. Collections (1831), vol. i. 357, etc., and in Sparks's Corresp. of the Revolution, i. 46, 60, 88, 475, etc.[643] His journal of his progress is unfortunately rather meagre, and covers but a few weeks, Sept. 27 to Oct. 30, 1775. The original manuscript was left by Arnold at West Point when he fled, and extracts from it are printed in S. L. Knapp's Life of Aaron Burr, 1835; it is now owned by Mr. S. L. M. Barlow, of New York, and a copy, made from it when owned by Judge Edwards, of New York, is in the Sparks MSS. (lii. vol. ii.).
CONCLUSION AND ATTESTATION OF MONTGOMERY'S WILL.
Cf. Harper's Mag., vol. lxx. p. 356.
Various other journals of the actors in the expedition have been preserved.[644]
Arnold's letters at the Point-aux-Trembles and before Quebec are in Sparks's Corresp. of the[220] Rev. (i. App.), together with those addressed to Wooster,[645] Schuyler, and Washington after the failure of the assault on Quebec, Dec. 31, 1775.[646]
MONTGOMERY.
After the only original portrait preserved at Montgomery Place, and representing him at about twenty-five. Cf. Harper's Mag., lxx. p. 350; Irving's Washington, illus. ed., vol. ii.
The study of Trumbull's well-known picture of "The Death of Montgomery" is on a card less than four inches square, now owned by Major Lewis, of Virginia, and is marked "J. Trumbull to Nelly Custis, 1790" (Johnston's Orig. Portraits of Washington, p. 72).
MONTGOMERY.
From An Impartial History of the War in America, vol. i. p. 392 (Boston), engraved by J. Norman. Cf. the engraving in Murray's Impartial Hist. of the Present War, ii. 193. Neither of these copper-plates are probably of any value as likenesses. They show the kind of effigy doing service at the time.
The great resource for original material on the siege of Quebec, beside the letters given by Sparks and Lossing, are in the gatherings of 4 Force's Archives, vols. iv., v., and vi.; Almon's Remembrancer, vol. ii.; N. Y. Col. Docs., viii. 663, etc.; and in a large number of diaries and other contemporary records, which may readily be classed as American or British, with a few emanating from the French Canadians.[647]
On Jan. 19, 1776, a report was made in Congress that the army in Canada be reinforced (Secret Journals, i. 241).
From an engraving of full length in An Impartial Hist. of the War in America, Lond. 1780, p. 249. A mezzotint similar to this was published in London, 1776, as "Col. Arnold, who commanded the provincial troops sent against Quebec" (J. C. Smith, Brit. Mez. Portraits, iv. 1714-1717). The portrait in profile, by W. Tate,—a handsome face,—was engraved in line by H. B. Hall in 1865, and etched by him in 1879 for Isaac N. Arnold's Life of B. Arnold. Cf. Jones's Campaign for the Conquest of Canada, p. 168. Other portraits of Arnold are given later in the present volume.
MONTRESOR'S MAP.
Sketched from the original (1760) among the Peter Force maps in the Library of Congress. There is a copy in the library of the N. E. Hist. and Geneal. Society.
In April Arnold returned to Montreal, and Wooster took command before Quebec,[648] to be superseded by General Thomas, who reached the camp May 1st. Upon Carleton's being reinforced, Thomas began to retreat.[649] Burgoyne arrived with additional troops in June (Fonblanque's Burgoyne, 211). The affair at the Cedars took place May 19, 1776.[650] The movement against Three Rivers had been begun by orders of Thompson, who was in command upon the death of Thomas (June 2d), and remained so for a few days till Sullivan arrived.
From An Impartial History of the War in America, Lond., 1780, p. 400, where the cut represents his full length. Cf. prints published in London in 1776 (Brit. Mez. Portrait, by J. C. Smith); Hollister's Connecticut, i. 390; Jones's Campaign for the Conquest of Canada, 28; Geschichte der Kriege in und ausser Europa (Nürnberg, 1778).
Smith, in the St. Clair Papers, i. 17, collates the authorities on this movement,[651] calling in question the statements given by Bancroft.
Sullivan's Irish precipitancy and over-confidence did not mend matters as the retreat went on, and raised delusive hopes which were more welcome than Arnold's gloomy views.[652]
SIEGE OF QUEBEC, 1775-76.
Sketched from a manuscript plan noted in the Sparks Catalogue (p. 208), which belongs to Cornell University, and was kindly communicated to the editor. The original (18½ × 15 inches) is marked as "on a scale of 30 chaines to an Inch", and is signed "E. Antill ft." in the corner. Mr. Sparks has marked it "Siege of Quebec, 1776." It is endorsed on the outside, "Genl Arnold's plan of Quebec, with ye Americans besieging it, ye winter of 1776." It bears the following Key: "H, Headquarters. A, A, A, advanced guards. B, B, B, main guards. C, C, C, quarter guards. D, Capt. Smith's riflemen. E, cul-de-sac, where the men-of-war lay, F, governor's house. G, where all materials are carried to build our batteries, out of view of the town. I, lower town. K, the barrier, near which General Montgomery fell. K L, the dotted line shews the route the troops took under the general, thro' deep snow without any path." The dotted line in the river marks the extent of ice from the shore, and in the open stream are the words: "(Unfrose) Ice driving with ye Tide." The roads are marked by broken lines – – – – – – –. The position of patrols are marked by the letter P.
The principal engraved map is a Plan of the city and environs of Quebec with its siege and blockage by the Americans from the 8th of December, 1775, to the 13th of May, 1776. Engraved by Wm. Faden, London; published 12 Sept., 1776. The original MS. draft is among the Faden maps (no. 20) in the library of Congress. There are other plans as follows: Mag. of Amer. Hist., April, 1884, p. 282; Leake's Life of Lamb, p. 130; Atlas to Marshall's Washington; Carrington's Battles, p. 138; Stone's Invasion of Canada, p. xvii.; a marginal plan in Sayer and Bennett's New Map of the Province of Quebec, published Feb. 16, 1776; and a German "Plan von Quebec" in the Geschichte der Kriege in und ausser Europa, Nuremberg, 1777, Dritter Theil. There is a marginal map of Quebec in an edition of Carver's map of the Province of Quebec, published by Le Rouge in Paris in 1777, and included in the Atlas Ameriquain (1778).
For views of Quebec and the points of attack, see Moore's Diary of the Rev., i. 185; Lossing's Field-Book, i. 198; and Mag. of Amer. Hist., April, 1884, p. 274. A view of the plains of Abraham is in Ibid., p. 296.
The retreat continued to Crown Point, and in July Sullivan was relieved by Gates; and the campaign was over,—nothing accomplished. On July 26th Governor Trumbull reviews the condition of the army in a letter in Hinman's Conn. during the Rev. (p. 560).[653] The letters of Ira Allen and John Hurd express the uneasy state of mind along the frontier, which now took possession of the exposed settlers (N. H. Prov. Papers, viii. pp. 301, 306, 311, 315-317, 405). Insecurity was felt at Ticonderoga (N. H. State Papers, viii. 576, 581).
Congress twice appointed commissioners to proceed towards Canada. In Nov., 1775, Robert R. Livingston, John Langdon, and Robert Treat Paine were sent, with instructions dated Nov. 8th,[654] to examine the fortifications of Ticonderoga and the highlands, and "to use their endeavors to procure an accession of the Canadians to a union with these colonies;" and their report (Nov. 17th), with a letter to Montgomery (Nov. 30th), is in the Sparks MSS. (lii. vol. ii.). In March, 1776, Benj. Franklin, Samuel Chase, and Charles Carroll were instructed (Journals of Congress, i. 289; Force, v. 411) to proceed to Canada to influence, if possible, the sympathies of the Canadians. Carroll was a Roman Catholic, and he was accompanied by his brother, John Carroll, a priest.[655] Much was expected of the mission on this account (Adams's Familiar Letters, 135). Franklin, delayed at Saratoga (April), began to feel that the exposures of the expedition were too much for one of his years, and sat down to write "to a few friends by way of farewell."[656] Carroll kept a diary, which has been since printed.[657] There are papers appertaining to the mission in Force's Archives, 4th, iv., v.; Sparks's Washington (iii. 390), and his Corresp. of the Rev. (i. 572), and Lossing's Schuyler (vol. ii.).[658] On Jan. 31, 1850, Mr. William Duane delivered an address on Canada and the Continental Congress before the Penna. Hist. Soc., which is printed among their occasional publications.
SULLIVAN'S ISLAND.
A part of a view published in London, August 10, 1776, and made by Lieut.-Col. Thomas James, of the Royal Regiment of Artillery. June 30, 1776. It represents the position of the fleet during "the attack on the 28th of June, which lasted nine hours and forty minutes." The position of the ships is designated by A, "Active", 28 guns; B, "Bristol", flag-ship, 50 guns; C, "Experiment", 50 guns; D, "Solebay", 28 guns. The "Syren", 28 guns, and "Acteon", 28 guns, and the "Thunder", bomb-ketch, were nearer the spectator as was the "Friendship", of 28 guns. L is Sullivan's Island; M, a narrow isthmus, defended by an armed hulk, N; the mainland is O; myrtle-grove, P.
Faden also issued at the same time, as made by Col. James, a long panoramic view of Sullivan's and Long islands, showing the American and British camps on the opposite sides of the dividing inlet.
Mr. Brantz Mayer's introduction to the Centennial ed. of Carroll's journal is largely concerned with the question of the Catholic pacification of Canada. Cf. Brent's Life of Archbishop Carroll; and B. W. Campbell's "Life and Times of Archbishop Carroll" in U. S. Cath. Mag., iii. The unfortunate comments (Oct. 21, 1774) of the Continental Congress on the Quebec Act was much against the persuasions of the commissioners, and it was soon evident that all their efforts, on this side at least, were futile. (Cf. Force's Am. Archives, ii. 231.)
After Franklin and John Carroll had left Montreal, Charles Carroll and Chase remained, endeavoring to support the military councils.[659]
I. The Attack on Sullivan's Island, June, 1776.—Clinton's proclamation to the magistrates of South Carolina, June 6, 1776, is in Ramsay's Revolution in South Carolina, i. 330. Lee's report to Washington (July 1, 1776) is in Sparks's Correspondence of the Revolution, i. 243; to Congress (July 2d), in Ibid., ii. 502; in Lee's Memoirs, p. 386; in Force's American Archives, 5th ser., i. p. 435; N. Y. Hist. Soc. Coll., 1872, pp. 100, 107; and in Dawson (p. 139). John Adams (Familiar Letters, 203) notes the exhilaration which the news caused in Philadelphia.
There are other contemporary accounts in Gen. Morris's letter in the N. Y. Hist. Soc. Coll., 1875, p. 438; in R. W. Gibbes's Doc. Hist. of the Amer. Rev., 1776-1782, pp. 2-19; in Force's Archives; in Frank Moore's Diary of the Rev., i. p. 257; in Moore's Laurens Correspondence, p. 24. A "new war song" of the day, referring to the battle, is given in Moore's Songs and Ballads of the Rev., p. 135. A broadside account was printed in Philadelphia, June 20, 1776 (Hildeburn's Bibliog., no. 3342). A plan of the attack after a London original was published in Philadelphia in 1777, with a "Description of the attack in a letter from Sir Peter Parker to Mr. Stephens, and an extract from a letter of Lieut. Gen. Clinton to Lord Geo. Germaine" (Hildeburn, no. 3539).
CHARLESTOWN, S. C., AND THE BRITISH FLEET, JUNE 29, 1776.
After a print published in London by Faden, August 10, 1776, taken by Lieut.-Col. James, the day after the fight.
Key.—A, Charlestown; B, Ashley River; C, Fort Johnston; D, Cummins Point; E, part of Five-Fathom Hole, where all the fleet rode before and after the attack; F, station of the headmost frigate, the "Solebay", two miles and three quarters from Fort Sullivan, situated to the northward of G; H, part of Mt. Pleasant; I, part of Hog Island; K, Wando River; L, Cooper River; M, James Island; N, breakers on Charlestown Bar; O, rebel schooner of 12 guns.
There is "An exact prospect of Charlestown, the metropolis of South Carolina", in the London Mag., 1762, a folding panoramic view, which shows the water-front with ships in the harbor.
The earliest general account is by Moultrie himself in his Memoirs of the American Revolution. Cf. Gordon's Amer. Rev.; and John Drayton's Memoirs of the American Revolution [through 1776] as relating to the State of South Carolina (Charleston, 1821, two vols.). Of the later general historians, reference may be made to Bancroft (orig. ed.), vol. viii. ch. 66, and final revision, iv. ch. xxv., a full account; to Dawson, i. ch. 10, to Carrington, ch. 27, 28; to Gay, iii. 467; Irving's Washington, ii. ch. 29; Lossing's Field-Book, ii. p. 754. Something can be gleaned from Garden's Anecdotes of the Revolution; Memoirs of Elkanah Watson; the life of Rutledge in Flanders's Chief Justices; and from such occasional productions as William Crafts's address (1825), included in his Miscellanies; Porcher's address in the South Carolina Hist. Coll., vol. i.; C. C. Jones, Jr.'s address on Sergeant Jasper in 1876, and the Centennial Memorial of that year and the paper in Harper's Monthly, xxi. 70, by T. D. English.
On the British side we have Parker's despatch (July 9th) in Dawson, p. 140; a letter of Clinton (July 8th) in the Sparks MSS., no. lviii.; Clinton's Observations on Stedman's History; the reports in the Gent. Mag. and Annual Register; the early historical estimate in Adolphus's England, ii. 346. Jones, New York in the Revolutionary War, i. 98, gives the Tory view. There is a contemporary letter by a British officer given in Lady Cavendish's Admiral Gambier, copied in Hist. Mag., v. 68. Hutchinson (Life and Diary, ii. 92) records the effects of the fight in England.[660]
THE SENTIMENT OF INDEPENDENCE, ITS GROWTH AND CONSUMMATION.
BY GEORGE E. ELLIS, D. D., LL. D.,
President Mass. Hist. Society.
THE assertion needs no qualification that the thirteen colonies would not in the beginning have furnished delegates to a congress with the avowed purpose of seeking a separation from the mother country; and we may also affirm, that, with a possible forecast in the minds of some two or three members, such a result was not apprehended. If any deceptive methods—as was charged at the time—were engaged in turning a congress avowedly called to secure a redress of grievances into an agency for securing independence, they will appear in the sharp scrutiny with which we may now study the inner history of the subject. And if an explanation of the course of the Congress can be found, consistent with its perfect sincerity, we must then seek to trace the influences alike of the new light which came in upon the delegates, and of successive aggravating measures of the British government, in substituting independence as its object. Though it is certain that Samuel Adams, fretting under the hesitations of Congress, had proposed to an ardent sympathizer that the four New England colonies should act in that direction by themselves, his own clear judgment would have satisfied him that that step would have been futile unless the other colonies followed it. If there were but a single colony from which no response could be drawn, the consequences would have been obstructive. That different sections of the country should have furnished leaders so in accord as Samuel Adams, Richard H. Lee, and Gadsden was a most felicitous condition. A congress, then, composed of delegates from all the colonies was the indispensable and the only practicable method for working out the scheme of independence, and even such a congress must avoid basing its action on local grievances. The reserve which the delegates from Massachusetts found it politic to practise, in not obtruding their special grievances, was well decided upon from the first, and proved to be effective. That the circumstances required patience in such men as the Adamses is abundantly evident from the frankness with which they wrote outside of Congress of the temporizing and dilatoriness of what went on in it.
There is no general assertion which comes nearer to the truth on this subject than that, from the first colonization of America by the English, the spirit of independence was latent here, and was in a steady process of natural development. George Chalmers, with the opportunities of a clerk of the Board of Trade, made an inquisitive private study of State Papers, and reached the full conviction that the colonists from the start, not only quietly assumed, but really aimed at an independence. He quotes abundant warnings, and charges the successive crown officials here and at home with culpable negligence in not acting on these warnings when they might have done so.[661] The pages of Chalmers confirm and illustrate the fact that the colonists lived in the enjoyment of a more real autonomy, and a do-as-you-please enfranchisement, than was shared by home subjects. There went with this a sort of assumption, a bold conceit, a sturdy truculency, which could be easily trained into defiance.[662]
Large allowance also must be made on account of the fact that the colonies had mastered their most critical perils wholly from their own resources. English benevolence in private individuals had generously fostered some enterprises of learning and charity here. But government had left the exiles to fight their own battles against the savages and the earliest French enemies. Far back in colonial times Governor Winthrop records that, in some emergent strait of the exiles, a suggestion was made of turning to England for help. The suggestion was shrewdly put aside, lest, having asked such aid, they might incur obligations.
It was of course admitted that the colonists had come under some form of obligation to the home government during the exhausting campaigns of the French and Indian wars. A question, however, soon came under debate, as to what that obligation involved. Great Britain assumed that it justified a demand upon the colonists for revenue. The colonists roused themselves to repudiate any obligation to be enforced by the payment of a tax imposed by a Parliament in which they had no representation. It was just here that the latent spirit of independence led the colonists to examine[233] to the root their relations of allegiance, and, on the other hand, their natural rights. The General Court of Massachusetts, in 1768, had admitted "that his Majesty's high court of Parliament is the supreme legislative power over the whole empire." It took less than ten years to bring it about that Massachusetts either had not understood what it said,—at least, had not meant to say exactly that,—or had come to think differently about it.
In the Bill of Rights coming from the first Congress the committee say: "In the course of their inquiry they find many infringements and violations of rights, which they pass over for the present." These previous impositions and disabilities came in, however, afterwards for their full share of rhetoric and argument. As we trace the method in which the controversy with government matured, we mark these stages of it. Objection and forcible resistance found their first occasion when, at the close of the French war, government devised the policy of the Stamp Act. The colonists came to distinguish this as creating an internal tax, in contrast to the previous external taxes, through the laws regulating commerce, to which heretofore they had not objected. Vindicating their resistance to the new internal tax, they came to find similar grievances in the former external taxes. So they were teaching themselves first to define and then to assert independence.
We have become accustomed to associate with the term Congress the idea of a legally constituted organic body, with defined powers authoritatively assigned to it, the exercise of which is binding on its constituents. Our Continental congresses were of quite another sort, and had no authority save what might be granted to the wisdom and practicability of the measures they advised. Most certain it is that only a very small minority of the people of the colonies were concerned in calling the early congresses. As certain, also, is it that a very large preponderance of the people of all classes were then strongly opposed to any violent measures, to sundering ties of allegiance, or to seeking anything beyond a peaceful redress of grievances. On the whole, while it must be admitted that Congress was generally in advance of its constituency, it knew how to temporize and to give intervals of pause in steadily working on to its ultimate declaration. "Natural leaders" always start forth in such a cause, and they learn their skill by practice.
When it became evident that, instead of any healing of the breach, the whole activity of the Congress tended to widen it, a regret was expressed in some quarters that, by the connivance and consent of the royal governors, and through the regular legislative processes, a more legal and conservative character had not been secured to this meeting of delegates,—as if dangerous plotting might thereby have been averted. But the patriot leaders of the movement were too well advised to look for any such official coöperation. The very life of their scheme depended upon its wholly popular conception. Nor could the consent of governors and formal assemblies[234] have been won to it. The whole method of the steady strengthening of the spirit of alienation from Great Britain was a working of popular feeling in channels different from those of ordinary official direction and oversight.
It was but fair to assume that the objects of the first Congress would be defined by the instructions furnished by those who sent or commissioned its members. The delegates from New Hampshire were bid "to consult and adopt such measures as may have the most likely tendency to extricate the colonies from their present difficulties, to secure and perpetuate their rights, liberties, and privileges, and to restore that peace, harmony, and mutual confidence which once happily subsisted between the parent country and her colonies." Massachusetts bade her delegates "deliberate and determine upon wise and proper measures, to be by them recommended to all the colonies, for the recovery and establishment of their just rights and liberties, civil and religious,[663] and the restoration of union and harmony between Great Britain and the colonies, most ardently desired by all good men." Rhode Island's charter governor empowered the delegates "to join in consulting upon proper measures to obtain a repeal of the several acts of the British Parliament, &c., and upon proper measures to establish the rights and liberties of the colonies upon a just and solid foundation." Connecticut authorized its delegates "to consult and advise on proper measures for advancing the best good of the colonies." The delegates from New York were trusted without any particular instructions, having merely a general commission "to attend the Congress at Philadelphia." So, also, New Jersey appointed its delegates "to represent the colony of New Jersey in the said General Congress." Pennsylvania sent a committee from its own Assembly in behalf of the province "to consult upon the present unhappy state of the colonies, and to form and adopt a plan for the purposes of obtaining redress of American grievances, ascertaining American rights upon the most solid and constitutional principles, and for establishing that union and harmony between Great Britain and the colonies which is indispensably necessary to the welfare and happiness of both." The deputies from the three Lower Counties were "to consult and determine upon all such prudent and lawful measures as may be judged most expedient for the colonies immediately and unitedly to adopt, in order to obtain relief for an oppressed people, and the redress of our general grievances."
It will be observed that the instructions from these eight colonies are moderate and pacific in terms, without menace, or a looking to any other results than harmony. Something a little more emphatic appears in what follows. The Maryland delegates were to use all efforts in their power in the Congress "to effect one general plan of conduct operating on the commercial relations of the colonies with the mother country." Virginia bade her delegates "consider of the most proper and effectual manner of so operating[235] on the commercial connection of the colonies with the mother country as to procure redress for the much-injured province of the Massachusetts Bay; to secure British America from the ravage and ruin of arbitrary taxes; and speedily to procure the return of that harmony and union so beneficial to the whole nation, and no ardently desired by all British America." The delegates of South Carolina are instructed "to concert, agree to, and effectually prosecute such legal measures as shall be most likely to obtain a repeal of the said acts and a redress of those grievances." The deputies of North Carolina were authorized "to deliberate upon the present state of British America, and to take such measures as they may deem prudent to effect the purpose of describing with certainty the rights of Americans, repairing the breach made in those rights, and for guarding them for the future from any such violations done under the sanction of public authority."
Now it is true that one may read as between the lines of these instructions intimations of reserved purposes, and possibly menaces that something more will be required if what is suggested in them fail of effect; but as they stand, their tone is not hostile or menacing. They limit the terms and measure of what they exact. Several very pregnant suggestions present themselves. Men of a large variety of opinions and purposes might take part in a congress so constituted. If the measures proposed had been restricted, so to speak, to the programme, there might have been substantial accord among the delegates, and no one could have been startled and offended with what they soon regarded as rebellious manifestations in the Congress.
The case of Joseph Galloway, at first esteemed a most resolute patriot, and then committing himself to extreme loyalty, presents us an example. He was a lawyer of great abilities, a gentleman of wealth and of high social position. He had made many strong protests against the oppressive measures of government. He was a member of the Pennsylvania Assembly eighteen years, and twelve years its speaker. He says[664] that when he was chosen as a delegate to the first Congress he positively refused to serve unless he was allowed to draw his own "instructions." He was permitted to do so, and he himself signed them as speaker. They contain this injunction: "You are strictly charged to avoid everything indecent and disrespectful to the mother state." Chosen a delegate to the second Congress, he positively declined to serve, though importuned to do so by Dr. Franklin. The instructions given to the eight associates named with him for this second Congress contained the stringent words, "We strictly enjoin you that you, in behalf of this colony, dissent from and utterly reject any propositions, should such be made, that may cause or lead to a separation from the mother country, or a change of the form of government." The removal of this restriction on June 14, 1776, enabled a majority of the delegates to give the vote of the province for independence.
No man in this first Congress marked a stronger contrast to Galloway than Samuel Adams, the "man of the people." Compared with what Joseph Reed called "the fine fellows from Virginia", Adams was not what is conventionally called a gentleman; but while John Hancock brought from Massachusetts money and ambition, his colleague carried the hardier brains of the two. The odious epithet of "demagogue" attached to Adams, not because of any beguiling arts, but from his plain simplicity of garb, preferred associates, manners, and mode of life. In his cheap and homely attire, dispensing with any other mode of influence than that of an honest heart and a vigorous mind, he had made himself the familiar companion of the mechanics, artificers, and craftsmen of North Boston, the shipbuilders, joiners, and calkers,—the rough, honest, and thrifty democracy,—with whom, sitting on a spar or loitering in a workshop, he would spend long and instructive hours. He was puritanically religious and rigidly observant of solemnities, prayed in his family, and asked a blessing at each meal of his simple fare. He neglected his own business to devote himself to public interests. Of his own poverty he was neither ashamed nor proud. It would not have been seemly for him to have presented himself to the courtly gentry of the Congress as he appeared in the streets of Boston. It would doubtless have confirmed the prejudice which many entertained of him as an ill-bred mass-leader. For deep and wide learning in legal, political, and economical science, added to his college culture, and for debating powers, he was the peer of any of his associates. If he had been left to himself in his straits he would have gone on his high errand clad as he was; but before he was to go his friends had done the best they could for him. The tailor, the hatter, bootmaker, and haberdasher, appearing at his house from anonymous friends, had furnished him a complete outfit, not, however, of the full sumptuousness of Hancock's. As for the rest, Adams was well prepared in bodily presence to meet for the first time his warm friend in correspondence, Richard Henry Lee. No truly lineal citizen of the old Puritan colony will ever be ashamed of this characteristic representative of its traditions and its people at the first Congress,—this prophet of independence.
The fact, without any fulness of detail, is assured to us that there was much of discordance and dissension in this Congress of 1774. Probably there was scarcely a single proposition or speaker that did not find an antagonist. Certainly it appeared that Congress was not ready to break from the mother realm. Results, however, were reached of a sort to prompt just such further measures from the British government as to insure some livelier work in its next session. The most decisively contumacious act of the Congress was the adoption and approval of the resolves passed by the daring Suffolk County (Massachusetts) meeting, which most clearly endorsed rebellion, and took steps in initiating it.[665] It is to be remembered, moreover, that in this first Congress, Washington, whose frank sincerity stands[237] unimpeached, denied that the colonies wished for, or could safely, separately or together, set up for independence. Before Congress again met in May, the first blood had been shed at Lexington and Concord; and Massachusetts, as the first colony to set up as a consequence its own autonomy, sought and received the ratification of its conduct by Congress, after it had assembled.
The instructions to the delegates still held them to seeking a redress of grievances and the restoration of harmony, as "desired by all good men", and in pursuit of this object a second letter or petition to the king, which John Adams calls "Dickinson's letter", was prepared and adopted by Congress. It was respectful, earnest, tender in its professions and appeals. It besought the king himself to interpose between his much-abused and long-enduring subjects and the oppressive measures of his ministers, as if he himself was misled and imposed upon by them. The bearing which this most remarkable letter has upon the charge of insincerity and hypocrisy in the action of Congress is apparent. It is enough to say here that Richard Penn, the messenger who bore the letter, was not permitted to see the king, whose only recognition of it was a violently toned proclamation for suppressing rebellion and sedition among his American subjects. Startling was the effect on the Congress of this royal declaration of an unrelenting purpose, which arrived on November 1st, coupled with the intelligence of a large reinforcement of the British army and navy, and with the purposed employment of seventeen thousand German mercenaries. The same day brought an account of the burning of Falmouth, now Portland, by Captain Mowat, reasonably exciting an alarm in all the settlements on the seaboard. What might be lacking in the final resolution of some of the leading members of Congress to come to the issue was well supplied by these last measures of government, which could work only in the direction of an implacable rupture. Still it is a matter of fact, now attested by full evidence, that the majority of Congress, either held by their lingering hope of some scheme of conciliation, or even doubtful if their constituents would reinforce their own resolution now, would not entertain a motion for independence.[666] A recess of the Congress from August 5th to September 5th gave to some of the members an opportunity to try the pulse of their constituents. The king in his speech, October 26, 1775, reiterated his stern purposes. It is noticeable that in the comments made upon it by speakers in the opposition, the avowals of members in the Congress were confidently[238] quoted as repelling the charge that they were aiming for independence; but General Conway said significantly, "They will undoubtedly prefer independence to slavery."
The delegates of the thirteen colonies—Georgia being now represented—met in Philadelphia, May 12, 1776, having now the whole bearings of the struggle fully before them. The members had found their way to the assurance that their professed loyalty to the constitution of the realm consisted with, and might even require, a defiance of its monarch. There were those who still held back. We note that personal alienations declared themselves between members, starting from differences of opinion or strength of resolve, as they faced the final question. Perhaps it is well that oblivion has been allowed to settle over the attitudes and words of some of the actors of the time, whether in or out of Congress. Gadsden, Lee, the Adamses, and Patrick Henry were ready and eager for the boldest venture, supported by Chase of Maryland, Ward of Rhode Island, Wolcott and Sherman of Connecticut, and at last by Wyeth of Virginia. Wilson of Pennsylvania held back. So did the strongly patriotic Dickinson, restrained by Quaker influence. He was yet to be reassured, and his ballot was to be the decisive one. Massachusetts should have been a unit; but Samuel Adams and Hancock were alienated, and Paine and Cushing were not yet full-strung, but the last-named was soon superseded by Gerry, who was in entire sympathy with the Adamses. Congress recommended the colonies whose governors had deserted their posts to set up governments of their own, if only for a temporary purpose, till constitutional rule should be reëstablished. Then, after an emphatic but calm restatement of grievances, and the failure of all efforts to secure a redress, Congress engaged with the question whether all the colonies might not be forced to set up such a government of their own. The dastardly conduct of Lord Dunmore, governor of Virginia, in following his own flight for refuge on board a frigate with a proclamation to stir an insurrection among the slaves, might well have left it to R. H. Lee, by direct instruction from his constituents, early in May, to announce that on an appointed day he should move for a declaration of independence. He did so on Thursday, the 7th of June. His motions were for such a declaration, with a complete dissolution of all political connection between the colonies and Great Britain; for the forming of foreign alliances, and a plan of confederation. John Adams seconded the motions. They were discussed on Saturday in a committee of the whole. On Monday, after a long debate, Rutledge moved a postponement of the question for three weeks. Up to this point Jefferson says that New York, New Jersey, Pennsylvania, Maryland, and South Carolina were not ready for the decision, and thought it prudent to wait, though fast stiffening for the issue.
On June 10th Congress resolved that the consideration of Mr. Lee's first proposed resolution—that declaring independence—be postponed to the 1st of July; but that no time should be lost in the interval, it appointed, on June 11th, a committee to prepare such a declaration. This committee[239] was Jefferson, John Adams, Franklin, Sherman, and Robert R. Livingston.[667] This postponement was in deference to the unreadiness of the delegates of New York, New Jersey, Pennsylvania, Delaware, Maryland, and South Carolina to take the decisive step. Some unnamed member had procured the passage of a vote that on whichever side the majority should turn, the decision should be pronounced unanimous, for or against the resolutions. The vote of each colony was to count for one, whatever the number of its delegates, the majority in each delegation pronouncing for its colony. The debate was sharp and intensely earnest. The vote of Pennsylvania was divided. Those of the six colonies just named being in opposition, there was no decision. Two of the halting Pennsylvania delegates being induced to absent themselves on the next day, fifty delegates being present, the resolutions prevailed by a majority of one province.[668] They had been bitterly[240] opposed by Livingston of New York, Dickinson and Wilson of Pennsylvania, and Rutledge of South Carolina. Argument, persuasion, and appeal were diligently pressed to draw the hesitating to acquiescence. Meanwhile several of the colonies were anticipating the action of Congress in taking their stand for independence: North Carolina, in April, 1776, and also Massachusetts, at the same date; Virginia, Rhode Island, Connecticut, New Hampshire, and New Jersey followed; and New York, as we shall see, soon came into line.
The proposed measures of Congress, associated with the leading one of independence, were most sagaciously devised for dignifying the primary resolve and elevating the action which should sustain it above the character of a mere rebellion. Those measures assumed the rights and responsibilities of nationality. The issuing of letters of marque and reprisal, the making free of all the ports for commerce with all the world except Great Britain, and the inviting of foreign alliances, were exercises of the prerogatives of sovereignty, and were the reasons assigned by France for regarding the United States as a nation at war with another nation. On July 12th Congress appointed a committee of one delegate from each colony charged with reporting a plan of confederation, and another committee of five to propose a plan for foreign alliances.
The Declaration marked a crisis alike in the forum and for the people. It was read to Washington's army, and drew wild plaudits from officers and from the ranks. As rapidly as panting couriers could disperse it over the country it was formally received with parade and observance, and read in town and village. It gave life and inspiration for every successive measure to turn a purpose into an accomplished fact.[669]
Many of our writers, in tracing the working of the various opinions which aided in fostering the spirit of independence, have found reason to ascribe[241] much influence to strong religious animosities, especially to hostility to the state religion of England. It might perhaps be difficult to trace sharply and directly through all the colonies any lines of division of this character attributable to such an agency, as distinct and positive as those which manifested themselves in secular affairs, but there can be no question that sectarian influences had an important part in the animosities of the time. It would have been but natural that in this matter the line between the loyal and the disloyal should have been drawn between the English Church and the dissenters, who were the vast majority of the colonists; but this rule was by no means without many marked exceptions. All the Episcopal ministers officiating in the colonies had received ordination in England. Their oath bound them to loyalty. Most of them, too, in the northern provinces, were pensioners of an English missionary society. The test applied to them when the spirit of rebellion was strengthening was whether they would read or omit in their services the prayers for the king. It stood little for them to plead in their defence their oath and their dependence on a foreign fund. Such a plea was a poor one, as being strictly personal and selfish, born of a love of ease and of a cringing spirit. Some of them left their pulpits, and maintained a discreet silence. Those who insisted upon fulfilling all the pledges and duties of their office were in many cases roughly handled. It is to be considered, however, that so far as sectarianism in religion would alienate the colonies from Great Britain, it could not have been a prime agent in the case, for then it would have alienated them from each other, to which result it did not avail. The Tory refugee Judge Jones uses the terms Presbyterians and Episcopalians as almost synonymous with the terms rebels and loyalists. But this was by no means true.[670] The leading patriot John Jay, with many others from his province, was an Episcopalian. The Episcopalians of Virginia, of Maryland, and of the Carolinas were as stiffly opposed to the importation here of English prelates as were the Congregationalists of New England. The Tory Galloway[671] traced our rebellious spirit to the same source as that of the English civil war, viz., to Puritanism. He wrote: "The disaffection is confined to two sets of dissenters, while the people of the Established Church, the Methodists, Lutherans, German Calvinists, Quakers, Moravians, etc., are warmly attached to the British government." Galloway exceeded the strict truth in that statement.
The numbers, position, and experiences of Episcopal ministers in the provinces at the period of the war have been recently presented in an elaborate and well-authenticated monograph on the subject.[672] From this it appears that there were at the time not far from two hundred and fifty clergymen, all of foreign ordination. The lack of Episcopal supervision brought with it laxity of discipline. At the southward the church gathered into it the wealthy, the officials of the government and of the army and navy, professional men, and merchants. But their clergy, instead of being, like their few brethren at the North, stipendiaries of a foreign society, largely derived their support from those to whom they ministered, and so, though being under the oath of allegiance, were more free to share the patriotic sentiments of the laity, and they did so. Clergy and laity in the Southern provinces seem, many of them, to have been as strongly opposed, for temporary or other reasons, to the introduction of a foreign prelacy as were those at the North. Several of the Episcopal clergy in the Middle and Southern provinces proved themselves most ardent patriots, not only in discourse but by taking chaplaincies in the Continental armies, and even serving in the ranks and as officers in command. The trial test for deciding their position was in the religious services required of them on the days appointed by Congress for thanksgiving or fasting. Their choice was not a free one between a full or a mutilated service of prayer. The severest sufferers of this class were among the Episcopal ministers of New York and Connecticut, who resolved to stand for loyalty. Some, however, trimmed to time and necessity; others were patriots. Provoost, afterwards the first Bishop of New York, espoused the side of the people.[673]
It was in New England that the "Puritanism" of which Galloway wrote had the prevailing influence; and a very energetic and effective influence it was, working with other agencies in making the English civil government all the more odious because of the lordly prelates, who ruled not only in church, but in state. The inherited and traditionary spirit of New England had kept alive the memory of the ecclesiastical tyranny which had developed Puritanism in Old England, and of the trials and sacrifices by[243] which deliverance had been secured. Those very New England colonies in which the rebellious spirit was most vigorous had been in but recent years, by help alike of sympathizers and opponents, conservatives of the old ways and reformers with the new, working their own way of relief from their theocratic basis of government, and securing freedom for themselves in belief and worship, with progress in the severance of church and state. They could not patiently contemplate the establishment of prelacy among them. Two occasions, operating as warnings, had freshened the old Puritan spirit of New England just previous to the opening of civil contention. One was the project, which had been zealously pressed, of sending English bishops into the colonies, whose functions the popular mind refused to distinguish between those which they exercised as lords, both spiritual and temporal, in England and those of ordination and confirmation, etc., which was all that was required of them as "superior clergy" here. An animated pamphlet controversy had been waging on this subject a decade before the outbreak of hostilities, in which appeared as a champion on one side the bold and able minister Jonathan Mayhew of Boston, and on the other, Secker, Archbishop of Canterbury.[674] No English prelate ever had functions or presence on our territory. The other reason, for a revival of the hostility here against the Established Church, was found in the coming hither into the old Congregational parishes, and the maintenance here by an English missionary society, of a number of Episcopal ministers. It was charged—not, however, justly—that the benevolent founders of that society had endowed it solely for the support of missionaries to neglected and forlorn persons,—fishermen and others in the colonies,—whereas it was used to promote division and disaffection in places well provided with a ministry. This charge was overstrained, for no missionary was sent to any place where there were not those, few or many, who were actual members of the English Church, or who stood out against the doctrine and discipline of Congregationalism. None the less did hostility to the English Church help largely to stimulate the spirit of rebellion.[675]
The first provincial congress of Massachusetts, assembled in 1774, knew very well the grounds of their reliance when by resolution they sent an address to each and all of the ministers in the province, reminding them of the valued aid and sympathy which their common ancestors in the years of former trials had found in their religious guides, and earnestly appealing for their help and strong efforts among their people in resistance of the tyranny of the mother country. The New England ministers were not slow in responding to—indeed, they had in many cases anticipated—this appeal of their civil leaders. They had a marvellous skill for discerning the vital[244] relations between politics and religion, while they had a strong repugnance to what was conveyed by the terms "church and state." With very few exceptions,—such, however, there were, in rare cases, of pastors in years and of timid spirits,—the ministers were foremost in inspiriting patriotism and in meeting all the emergencies of the times.[676]
The only organized and official measures taken by any one of the religious denominations in sympathy with the American Revolution was that of the Presbyterians, who had freed themselves from dependence on a civil establishment. The Scotch-Irish Presbyterians on the frontiers of Virginia and North Carolina had stoutly vindicated their religious rights against the Established Church in Virginia, and were among the foremost in asserting their independence of the mother country. With the sturdiest resolution they had successfully triumphed over the Episcopal party in New York and thwarted government influence in its behalf. John Witherspoon, the only clergyman in the Congress of 1776, gave by delegated authority the vote of the Presbyterians for independence.[677]
And now the question may well be asked, Where rests the chief responsibility for bringing to this result the protracted controversy between the mother realm and her colonies? The Declaration of Independence was yet to be made good by a severe struggle on the part of the colonies, and to be accepted by the other party in the issue. It is rarely, if indeed the case has any historical parallel, when so large a measure of the responsibility for bringing about a signal revolution in the great affairs of a nation can, as in this instance, be directly charged upon an individual, and that was his majesty George III.[678] The facts of the case with their full evidence stand now clearly certified. That Declaration, with the event which[245] it signified, might have come in other ways. Agencies and events were working to it. But that it came when it did, and as it did, he at whose heavy cost it came was largely the conspicuous agent and cause of it. That this is so, let the following tracing of the stages of the developments attest. And by the charge here alleged is meant that the king was mainly instrumental in bringing about the result, not merely by an official or representative responsibility, nor by prerogative, but by the prompting of personal feeling and private decision. It is also to be admitted that the king may have been guided by the purest motives and the loftiest sense of duty to preserve in any way the jewels of his crown and the integrity of his empire. But none the less it was his will and resolve that decided the issue.
As we have seen, the effect of every measure of the British government brought to bear upon the colonies was directly the opposite of what had been intended. Threats and penalties exasperated, but did not intimidate. Seeming concessions and retractions did not conciliate. Contempt and defiance called out corresponding and reciprocal feelings. There was a strict parallelism between the ministerial inventions for securing the mastery and the patriot ingenuity and earnestness for nullifying them. The few incidental accompaniments of popular violence and mobs were so familiar to the people of England at home as to count for little. They were to be regretted and condemned, but they were fully offset by the indiscriminate and vengeful punishments which government visited upon them.
We are to remember that the king, if not the originator and adviser of all these measures, gave them his cordial approval. More and more, as the quarrel ripened, his personal will and resolve asserted themselves, even autocratically. When the catastrophe finally came, his prime minister frankly confessed, that by the king's urgency, and in compliance with his own view of the claims of loyalty, he had been acting against his own clear judgment of what was wise and right, if not against his conscience.[679] Who, then, so much as the king, as sole arbiter, by his own personal decision, substituted arms for debate? The colonies, no longer the aggressive party, were put on the defensive. Still, even after this dropping of the royal gage of battle, the Assembly of Pennsylvania, with its residuum of Quakerism, required of its members the old oath of allegiance to George III., and Dickinson reported to it strongly loyal instructions for its delegates. Is it strange that Franklin refused to take his seat in that body? Two years later,—March 17, 1778,—the king writes to Lord North: "No consideration in life shall make me stoop to opposition. Whilst any ten men in the kingdom will stand by me, I will not give myself up into bondage. I will rather risk my crown than do what I think personally disgraceful. It is impossible[246] that the nation should not stand by me. If they will not, they shall have another king, for I will never put my hand to what will make me miserable to the last hour of my life."[680] And again, when the end was at hand, the king, writing to Lord North, March 7, 1780, says: "I can never suppose this country so lost to all ideas of self-importance as to be willing to grant American independence. If that word be ever universally adopted, I shall despair of this country being preserved from a state of inferiority. I hope never to see that day, for, however I am treated, I must love this country."[681]
Recalling the fact that in all previous remonstrances[682] and petitions, without a single exception, whether coming from a convention, an assembly, or a congress, the ministry and Parliament were made to bear the burden of all complaints and reproaches, we note with emphasis that in the Declaration of Independence, for the first time, "the present king of Great Britain" is charged as the offender. Its scathing invectives in its short sentences begin with "He." His tools and supporters are all lost sight of, passed unmentioned. This substitution of the monarch himself as chargeable, through his own persistency, with the whole burden heretofore laid at the door of his advisers indicates the necessity which Congress felt of seeming to sever their plain constitutional allegiance to the monarch, and of ignoring all dependence on his ministers or Parliament, whose supremacy over the colonies they had always denied. Hence the tone and wording of all the previous utterances of Congress, deferential and even fulsome as they now seem, in sparing the king, for the first time, in the Declaration, are changed to give the necessary legal emphasis of the capital letter in He. Indeed, the law and the man were essentially as one, for the candid monarch told John Adams, on his subsequent appearance as the minister of the United States, that he was the last person in his realm to consent to the independence of the colonies. The utter hopelessness of the measures of government was obvious to the wiser statesmen of Britain and to those whose observation was guided by simple common sense.[683]
A matter of sharp and reproachful criticism—which has not wholly disappeared from more recent pages of history and comment—was found in what certainly had the seeming of insincerity and duplicity in the earnest[247] professions of loyalty made by leading patriots while the spirit of absolute independence, latent and but thinly veiled, was instigating measures of defiance, and even of open hostility. The patriots, it was boldly charged, had practised a mean hypocrisy. The shock of the disclosure was at the time sudden and severe. Joseph Galloway, though perhaps the most hostile and vengeful, was by no means the least able or the most estranged and disappointed of a class of very prominent men, who avowed that they had been alienated from the patriot cause by the exposed duplicity of its wiliest leaders. They had joined heart and hand in council and measures with those who professed to be seeking only a redress of grievances, with an unqualified loyalty as British subjects to the king and the constitution, and in a disavowal of any idea of independence.
On the other side of the water, the Declaration, as "throwing off the mask of hypocrisy" by the patriots, was a very painful shock to many who had been most friendly and earnest champions of the cause of the colonists. The members of the opposition in Parliament and in high places were taunted by the supporters of government for all their pleading in behalf of rebels. And when, besides the bold avowal of independence, the added measures of a suspension of all commerce with Great Britain, and of an alliance of the patriots with the hereditary enemy of their mother country, came to the knowledge of those who had been our friends, the consternation which it caused them was but natural. Manufacturers and merchants, against whose interests so heavy a blow had been dealt, and all Englishmen who scorned the French, our new ally, might with reason rank themselves as now our enemies. Of course, the ministry and the abetters of the most offensive measures of government availed themselves of the evidence now offered of what they had maintained was the ultimate purpose of the disaffected colonists, hypocritically concealed, and they confidently looked for a well-nigh unanimous approval and support of the vengeful hostilities at once entered upon. It was affirmed that the British officers and soldiers here, who had before been but half-hearted and lukewarm in fulfilling their errand, now became as earnest and impassioned in war measures as if they were fighting Indians, Frenchmen, or Spaniards. Such were really the effects wrought on both sides of the water, not merely by the bold avowal of independence, but by what was viewed as the exposure of a subtle and hypocritical concealment of the purpose of it under beguiling professions of loyalty.
What is there to be said, either by way of explanation or of justification, of the course ascribed to the patriots? It is well to admit freely that there was much said, if not done, that had the seeming of duplicity and insincerity, of secrecy of design and of sinuous dealing. And after yielding all that can be charged of this, we may insist that, in reality, it was nothing beyond the seeming. Neither disguise, nor duplicity, nor hypocrisy, nor artful or cunning intrigue, in any shape or degree, was availed of by the patriots. The result to which they were led was from the first natural[248] and inevitable, and it was reached by bold and honest stages, in thinking out and making sure of their way. The facts are all clearly revealed to us in their course of development. The maturing of opinion, till what had been repelled as a calamity was accepted as a necessity, is traceable through the changing events of a few heavily burdened years, if not even of months and days, to say nothing of the symptoms of it which a keen perception may discover during the career of four generations of Englishmen on this continent. Its own natural stages of growth were reached just at the time that it was attempted to bring it under check by artificial restraint of the home government. That government compelled the colonists to ask themselves the two questions: first, if they were anything less than Englishmen; and further, if their natural rights were any less than those of men. There has been much discussion as to when and by whom the idea of American independence was first entertained. It would be very difficult to assign that conception to a date or to an individual. All that was natural and spontaneous in the situation of the colonists would be suggestive of it; all that was artificial, like the tokens of a foreign oversight in matters of government, would be exceptional or strange to it. Husbandmen, mechanics, and fishermen would not be likely to trouble themselves with the ways in which their relations as British subjects interfered with their free range in life. Larger and deeper thinkers, like Samuel Adams, would feel their way down to comprehensive root questions, sure at last to reach the fundamentals of the whole matter,—as, What has the British ministry and Parliament to do with us? It required nine years to mature the puzzling of a peasant over the question of a trifling tax into the conclusion of a republican patriot statesman. Every stage of this process is traceable in abounding public and private papers, with its advances and arrests, its pauses and its quickenings, its misgivings and assurances, in all classes of persons, and in its dimmest and its fullest phases. We have seen how it was working its way in the honest secrecy of a few breasts in the first Congress, even when repelled as a dreaded fatality. Samuel Adams is generally, and with sufficient evidence, credited as having been the first of the leading spirits of the revolt to have reached—at first in private confidence, steadily strengthening into the frankest and boldest avowal—the conviction that the issue opened between the colonies and the mother country logically, necessarily, and inevitably must result in a complete severance of the tie between them. Even at that stage of his earliest insight into the superficial aspect of the controversy, when he is quoted as if hypocritically saying one thing while he intended another, it will be observed that his strong professions of loyalty are qualified by parenthetical suggestions of a possible alternative. Thus, in the Address which he wrote for the Massachusetts Assembly, in 1768, to the Lords of the Treasury, his explicit professions of loyalty for his constituents close with the caveat that this loyalty will conform itself to acquiescence so far as "consists with the fundamental rules of the Constitution."[684] Of course, as the oppressive measures of[249] government exasperated the patriots, they were not only led on to discern the full alternative before them, but were unreserved in their expressions of a willingness to meet it, at whatever cost. Still, however, what seemed like hesitation in the boldest was simply a waiting for the slow and timid to summon resolution for decisive action. Of the single measures in Congress preceding the Declaration of Independence, the most farcical and the most likely to be regarded as hypocritical was the second petition to the king, which his majesty spurned. His ministers had to compare with its adulatory insincerities some intercepted letters of John Adams, written nearly at the same time, stinging with defiance and treason. But John Adams well described this petition to the king as "Dickinson's Letter." Dickinson himself is the most conspicuous and true-hearted of the class of men who to the last shrunk from the severance of the tie to the mother country. Yet he was to be the one whose casting vote, by a substitute, was to ratify the great Declaration. There may have been weakness in his urgency that that petition should proffer a final hope of amity, but it was the prompting of thorough manliness and honesty. As we have seen, it was the royal scorn of that petition, backed by a wilful personal espousal of responsibility, which made the king the real prompter of the Declaration of Independence.[685]
Leaving out of view all obligations of the colonies to the mother country, there was still quite another class of very reasonable apprehensions which had a vast influence over the halting minds. What would be the relations of the severed and possibly contentious colonies to each other, with all their separate interests, rivalries, and jealousies? Might not anarchy and civil war make them rue the day when, in rejecting the tempered severity of the rule of a lawful monarch, they had forfeited the privilege of having an arbiter and a common friend?
Nor was this the only dread. The Indians were still a formidable foe on the frontiers. So far as they were held in check, it was largely by English arms and influence. Without anticipating the cruel and disgraceful complication of the trouble which was to come, and the aggravations of civil war, by the enlistment of these savages by England as her allies against her former subjects, it was enough for timid colonists looking into the future to realize the power of mischief which lurked with these wild men in the woods. Every further advance of the colonists beyond the boundaries already secured would provoke new hostilities, and remind the pioneers of the value to them of English armaments and reinforcements. And yet once more, those were by no means bugbear alarms which foreboded for the colonists, left to themselves, outrages from French and Spanish intrigue, ambition, and greed of territory. France and Spain had losses and insults to avenge against England, and might seek for reprisals on the undefended colonists. It needs only an intimation, without detail, of the apprehensions which either reason or imagination might conjure from this foreboding, to show how powerfully it might operate with prudent men in suspending their decision between rebellion and loyalty. All these considerations, taken separately and together, whether as resulting in slow and timid maturing of sentiment and of profession in Congress, or as influencing the judgment of patriot leaders, or as guiding the vacillating course of individuals and multitudes, may have given a seeming show of insincerity and duplicity to words contrasted with subsequent deeds. But a clear apprehension of all the alternatives which were then to be balanced will satisfy us that there was little room for hypocrisy to fill.
Some show of reason for charging upon the patriots duplicity and lack of downright frankness was found in their professions of a steadfast, but still a qualified, loyalty. If there was not at first some confusion or vagueness in their own ideas on this point, they certainly set themselves open to such a misunderstanding by the ministry as to leave it in doubt whether they knew their own minds or candidly declared them. The controversy, from its beginning till its close, was constantly alleged to start from this discriminating standard of loyalty: the colonists repudiated the exercise of authority over them by Parliament and the ministry, and yet avowed themselves faithful and loyal subjects of the king. The king could govern and act only through Parliament. How could they repudiate the authority of Parliament and respect that of the king? What was to be the basis, scope, and mode of exercise of his authority? They certainly could not have in view the exercise of an autocracy over them, the restoration of the old royal prerogative which a previous glorious revolution had shattered. The king could exercise his authority in the colonial assemblies only through governors, and those governors had been rendered powerless here. Even the sage and philosophic Franklin found himself perplexed on this point. Writing from London to his son in New Jersey, March 13, 1768, he says: "I know not what the Boston people mean; what is the subordination they[251] acknowledge in their Assembly to Parliament, while they deny its power to make laws for them?"[686] Galloway pertinently asked of the first Congress, "if they had any other union of the two countries more constitutional in view, why did they not petition for it?" "The Congress, while they professed themselves subjects, spoke in the language of allies, and were openly acting the part of enemies."[687] How are we to reconcile two statements made by Pitt in the same speech, in January, 1776: "This kingdom has no right to lay a tax on the colonies." "At the same time, on every real point of legislation, I believe the authority of Parliament to be fixed as the Polar Star." Without any attempt to conceive or fashion a definition of their ideal, the good common sense of the patriots at last worked out the conclusion that their emancipation from the Parliament involved a dispensing with the king.[688]
There was no disguising the fact, however, that, with independence declared, there was no such unanimity of purpose among all the members of Congress, still less among their many-minded and vaguely-defined constituency. It was inevitable, therefore, that both a degree of arbitrariness towards halting and censorious objectors, and of harsh severity towards open resistants, should henceforward characterize the measures approved by the patriot leaders. There was a sagacious moderation and prudence in the measures taken by Congress to conciliate and reassure the half-hearted and the hesitating. For the final stand had been taken that nothing short of an achieved independence should be accepted as the issue.
The prime movers in the patriot cause continued to be the main workers for it, and gradually reinforced themselves by new and effective aiders. Astute and able men, well read in history and by no means without knowledge of international law and the methods of diplomacy, surveyed the field before them, provided for contingencies, and found full scope for their wits and wisdom. When we consider the distractions of the times, the overthrow of all previous authority, the presence and threats of anarchy, the lack of unanimity, and the number and virulence of discordant interests, and, above all, that Congress had only advisory, hardly instructive, powers, even with the most willing portion of its constituents, we can easily pardon excesses and errors, and heartily yield our admiration to the noble qualities[252] and virtues of those who proved their claim to leadership. When we read the original papers and the full biographies of these men, we are impressed by the balance and force of their judgment, their power of expressing reasons and convictions, their calm self-mastery, and the fervor of their purposes.
CRITICAL ESSAY ON THE SOURCES OF INFORMATION.
THE source to which naturally we should first apply ourselves for the fullest information on the development of the purpose of independence would be the Journals of Congress. But our disappointment would be complete. The same reasons which enjoined on the members secrecy as to the proceedings seem to have deprived the record even of some things that were done and of almost every utterance in debate. We have to look to other sources, the most scattered and fragmentary, to learn the names even of the principal leaders in the debates, and from beginning to end we have not the report, scarcely a summary, of a single speech. Our reasonable inference from such hints is that some ten, or at most fifteen, members were the master-spirits in securing the adoption of measures, while they were opposed by some as earnest as themselves, but not as numerous. But whatever may have been written in the original Journals was subjected to a cautious selection when they were printed by a committee. It is only from Jefferson himself, for instance, that we learn (Randall's Jefferson, i. 15) how, somewhat to his chagrin, "the rhetoric" of his draft of the Declaration was toned down. Especially do the Journals, as printed, suppress all evidences of strong dissension, of which we have abundant hints in fragments from John and Sam. Adams, Franklin, Dickinson, Galloway, Jefferson, Jay, and Livingston. But the Journals do spread before us at length sundry admirable papers, drawn by able and judicious committees.[689]
The reader must turn to the notes appended to chapter i. of the present volume for an examination of some of the leading pamphlets occasioned by the Congresses of 1774 and 1775, and for an examination of their opposing views, with more or less warning of the inevitable issue of independence.
One may easily trace in the writings of Franklin, extending through the years preceding the Revolution, and through all the phases of the struggle, seeming inconsistencies in the expression of his opinions and judgment. But these are readily explicable by changes in time and circumstance. We must pause, however, upon the strong statement made by Lecky in the following sentence: "It may be safely asserted that if Franklin had been able to guide American opinion, it would never have ended in revolution."[690]
Opportune in the date of its publication, as well as of mighty cogency in its tone and substance, was that vigorous work by Thomas Paine, a pamphlet bearing the title "Common Sense." If we take merely the average between the superlatively exalted tributes paid to his work as the one supremely effective agency for bringing vast numbers of the people of the colonies to front the issue of independence, and the most moderate judgments which have estimated its real merit, we should leave to be assigned to it the credit of being the most inspiriting of all the utterances and publications of the time for popular effect. The opportuneness of the appearance of this remarkable essay consisted in the fact that it came into the hands of multitudes, greedy to read it, a few months before[253] the burning question of independency was to be settled. The papers issued by Congress might well answer the needs of the most intelligent classes of the people, in reconciling them to the new phase of the struggle. But there were large numbers of persons who needed the help of some short and easy argument, homely in style and quotable between plain neighbors. And this eighteen-penny pamphlet met that necessity. It appeared anonymously. John Adams says it was ascribed to his pen. Paine had been in confidential intercourse with Franklin, and the sagacious judgment of that philosopher doubtless suggested the form and substance of some of its contents, and may have kept out of it some things less apt or wise. Washington, Franklin, and John Adams welcomed it as a vigorous agency for persuading masses of simple and honest men that their rights must now be taken into their own hands for vindication. The character of the writer alienated from him the regard of those who could and who would willingly have advanced his interests, and made him to multitudes an object of horror and contempt. Though his pamphlet bore the title of "Common Sense", Gouverneur Morris says that that was a quality which Paine himself wholly lacked. Posterity, however, may well accord to him as a writer the high consideration given to him by his contemporaries, of having happily met by his pen a crisis and a pause in the state of the popular mind. Franklin wrote that "the pamphlet had prodigious effects."[691]
Adam Smith's Wealth of Nations was published in the same year. Wise men have often affirmed that if it had appeared a generation earlier, and if the doctrines and principles which it advocated had passed into the minds of statesmen and economists, peaceful rather than warlike measures would have disposed of the controversy. It required the lapse of twoscore years to convince English statesmen and economists of the practical wisdom of the leading principles advanced by this college professor. He maintained the general viciousness and folly of the English colonial administration; that while even the restricted commercial monopoly was more generous than the colonial rule of any other governments, the prohibition of manufactures was mischievous and oppressive. He agreed with Dean Tucker, that a peaceful separation of the colonies would benefit rather than harm the mother country. Yet, under existing circumstances, such a separation was[254] impracticable, because neither the government nor the people of the realm would seriously entertain the proposition.[692]
One of the best expositions of the views held by some of the Tory writers, that the seeds of independency were sown with the early settlements and nurtured through their history, is given in a tract by Galloway,[693] which was published in London in 1780, as Historical and Political Reflections on the Rise and Progress of the American Rebellion. In which the Causes of that Rebellion are pointed out, and the Policy and Necessity of offering to the Americans a System of Government founded in the Principles of the British Constitution, are clearly demonstrated. By the Author of Letters to a Nobleman on the Conduct of the American War. He pleads that the rebellion has been encouraged by the assertion "of the injustice and oppression of the present reign by a plan formed by the administration for enslaving the colonies", and asserts that the mother country had fostered the infancy and weakness of the colonies, had espoused their quarrels, and, at an enormous cost of debt, had defended them. "The colonies are very rich and prosperous, with more than a quarter of the population of Great Britain, and should share its burdens. The rebellion did not spring from a dread of being enslaved." The writer then ably and justly traces its origin to the principles of the Puritan exiles, from whose passion for religious freedom has grown that for civil independence. He attributes much influence helpful to rebellion to the organization among the Presbyterians at Philadelphia, in 1764, which united by correspondence with the Congregationalists of New England. The other sects were generally averse to measures of violent opposition to authority. The measures of government are vindicated, and all trouble is traced to a faction in New England, sympathized with and led on by a similar faction at home. The "Circular Letter", bringing the colonies into accord, wrought the mischief. Two sharply divided parties at once were formed, or proved to exist: the one defining and standing for the right of the colonies with a redress of grievances, on the basis of a solid constitutional union with the mother country, and opposed to sedition and all acts of violence; the other resolved by all means, even though covert and fraudulent, to throw off allegiance, appeal to arms, run the venture of anarchy, and assert, and if possible attain, independence. The latter party, acting with some temporary reserve and caution, opposed all peaceable propositions, and covertly worked for their own ends. They used most effectively a system of expresses between Philadelphia and the other towns, Sam. Adams being the artful and diligent fomenter of all this mischief. By his guile, Congress was brought to approve the Resolves[255] of the Mass. Suffolk Conference, which declared "that no obedience is due to acts of Parliament affecting Boston", and provided for an organization of the provincial militia against government. He proceeded to argue that "the American faction", as in the fourth resolve of their Bill of Rights, explicitly declare their colonial independence. This was followed by an address to his majesty,—not calling it a petition,—and which the writer proceeded to analyze with much acuteness, as being vague and evasive in its professions, and suggestive of conditions which would prove satisfactory. Finally, "the mask was thrown off", and the casting vote of the "timid and variable Mr. Dickinson" carried the Declaration of Independence. "Samuel Adams, the great director of their councils, and the most cautious, artful, and reserved man among them, did not hesitate, as soon as the vote of independence had passed, to declare in all companies that he had labored upwards of twenty years to accomplish the measure." Mr. Galloway closes with sharp strictures upon the bewildered and vacillating policy which the government has heretofore pursued, and pleads for a firm and generous "constitutional union" between the realm and the colonies. The growth of the spirit of independence necessarily makes a part of all general histories of the war, which are characterized in another place.
The claim of Chalmers that the passion for independence had latently existed from the very foundation of the New England colonies[694] had been early denied by Dummer in his Defence of the N. E. Charters. John Adams[695] had been outspoken in his advocacy of independence for more than a year before R. H. Lee introduced his resolution into Congress. He had avowed it in letters, which the British intercepted in July, 1775, and printed in a Boston newspaper. If Josiah Quincy, Jr. (Memoirs, 250, 341), can be believed, he found Franklin in London in 1774 holding ideas "extended on the broad scale of total emancipation" (Sparks's Franklin, i. 379). The resolves of Mecklenburg County in North Carolina, in May, 1775, were strongly indicative. John Jay traced the beginning of an outspoken desire to the rejection by the king of the petition of the Congress of 1775 (N. E. Hist. and Geneal. Reg., July, 1776). In the autumn of that year it is certain that the passion for independence animated the army round Boston (Frothingham's Siege of Boston, 263), and in December James Bowdoin was confident that the dispute must end in independence (Mass. Hist. Soc. Proc., xii. 228). There was very far from any general adhesion to the belief in its inevitableness at all times during 1775. Washington was not conscious of the wish (Sparks, i. 131, ii. 401; Smyth, ii. 457). Gov. Franklin was expressing to Dartmouth the prevalence of a detestation of such views (Mass. Hist. Soc. Proc., xiv 342). The English historians have dwelt on this (Mahon, vi. 92, 94; Lecky, iii. 414, 447, iv. 41).[696]
AUTOGRAPHS OF THE MECKLENBURG COMMITTEE, MAY 31, 1775.
From the plate in W. D. Cooke's Rev. Hist. of No. Carolina, p. 64. Cf. Lossing's Field-Book, ii. 619, for another fac-simile and accounts of the signers; also see C. L. Hunter, Sketches of Western North Carolina (Raleigh, 1877, p. 39). It has been strenuously claimed and denied that, at a meeting of the people of Mecklenburg County, in North Carolina, on May 20, 1775, resolutions were passed declaring their independence of Great Britain. The facts in the case appear to be these:—On the 31st of May, 1775, the people of this county did pass resolutions quite abreast of the public sentiment of that time, but not venturing on the field of independency further than to say that these resolutions were to remain in force till Great Britain resigned its pretensions. These resolutions were well written, attracted notice, and were copied into the leading newspapers of the colonies, North and South, and can be found in various later works (Lossing's Field-Book, ii. 619, etc.). A copy of the S. Carolina Gazette containing them was sent by Governor Wright, of Georgia, to Lord Dartmouth, and was found by Bancroft in the State Paper Office, while in the Sparks MSS. (no. lvi.) is the record of a copy sent to the home government by Governor Martin of North Carolina, with a letter dated June 30, 1775. Of these resolutions there is no doubt (Frothingham's Rise of the Republic, p. 422). In 1793, or earlier, some of the actors in the proceeding, apparently ignorant that the record of these resolutions had been preserved in the newspapers, endeavored to supply them from memory, unconsciously intermingling some of the phraseology of the Declaration of July 4th in Congress, which gave them the tone of a pronounced independency. Probably through another dimness of memory they affixed the date of May 20, 1775, to them. These were first printed in the Raleigh Register, April 30, 1819. They are found to resemble in some respects the now known resolves of May 31st, as well as the national Declaration in a few phrases. In 1829 Martin printed them, much altered, in his North Carolina (ii. 272), but it is not known where this copy came from. In 1831 the State printed the text of the 1819 copy, and fortified it with recollections and certificates of persons affirming that they were present when the resolutions were passed on the 20th: The Declaration of Independence by the Citizens of Mecklenburg County, N. C., on the twentieth day of May, 1775, with documents, and proceedings of the Cumberland Association (Raleigh, 1831). This report of the State Committee is printed also in 4 Force, ii. 855. The resolves are reprinted in Niles's Reg. (1876, p. 313); in Caldwell's Greene; in Lossing (ii. 622), and in other places. Frothingham says he has failed to find any contemporary reference in manuscript or print to these May 20th resolutions. Jefferson (Memoir and Corresp., iv. 322; Randall's Jefferson, 1858, vol. iii. App. 2) denied their authenticity, and J. S. Jones supported their genuineness in his Defence of the Revolutionary History of North Carolina (Boston, 1834). In 1847 Rev. Thomas Smith, in his True Origin and Source of the Mecklenburgh and National Declaration of Independence, agreed to the priority of the May 20th resolutions, but thought that both those and the national Declaration were drawn in part from the ordinary covenants of the Scottish Presbyterians,—hence agreeing naturally in some of their phraseology.
The principal attempts to sustain the authenticity of the resolutions of May 20th are F. L. Hawks's lecture in W. D. Cooke's Revolutionary Hist. of North Carolina, and W. A. Grahame's Hist. Address on the Mecklenburg Centennial at Charlotte, N. C. (N. Y. 1875). The adverse view, held generally by students, is best expressed in J. C. Welling's paper in the No. Amer. Rev., April, 1874, and in H. B. Grigsby's Discourse on the Virginia Convention of 1776 (p. 21). John Adams was surprised on their production in 1819 (Works, x. 380-83). Cf. further in Moore's North Carolina, i. 187; No. Carolina Univ. Mag., May, 1853; Bancroft's United States, orig. ed., vii. 370, and final revision, iv. 196, and also in Hist. Mag., xii. 378; Gay's Pop. Hist. U. S., iii. 474; Lossing's Field-Book, ii. 619; Johnson's Traditions and Reminiscences of the Amer. Rev. in the South (Charleston, 1851, p. 76); Amer. Hist. Rec., iii. 200; Mag. of Amer. Hist., July, 1882, p. 507; Southern Lit. Messenger, v. 417, 748.
The antedating of the Congressional Declaration of July 4, 1776, by local bodies, stirred beyond a wise prudence, might well have happened in days when the air was full of such feelings; but they were of little effect, except the Suffolk Resolves of Sept. 6, 1774, which were adopted by the Congress of 1774. Perhaps the earliest of these ebullitions were some votes passed by the town of Mendon, in Massachusetts, in 1773 (Amer. Antiq. Soc. Proc., April, 1870). A fac-simile of the record is given in Gay's Pop. Hist. U. S., iii. 472.
Early in 1776 the passion for independence gathered head. In March, Edmund Quincy thought the feeling was universal in the Northern colonies (N. E. Hist. and Geneal. Reg., 1859, p. 232). Francis Dana, just home from England, was saying that he was satisfied no reconciliation was possible (Sparks, Corresp. of the Rev., i. 177). The probability of independence was recognized in the instructions which Congress gave to Silas Deane in March, on his sailing for Europe. In April came the violent measure in Congress of abolishing the British custom laws. The press was beginning to give the warning note,[697] but not without an occasional counter statement, as when the N. Y. Gazette (April 8, 1776) asserted that Congress had never lisped a desire for republicanism or independence. Sam Adams was urgent (Wells, ii. 397). John Adams was writing to Winthrop, of Cambridge, to restrain him from urging Massachusetts to break precipitately the union of the colonies (Mass. Hist. Soc. Coll., xliv. 298), and he was counselling Joseph Ward to be patient, for it "required time to bring the colonies all of one mind; but", he adds, "time will do it" (Scribner's Mag., xi. 572).
May was the decisive month, and events marched rapidly. On the 1st, Massachusetts set up a committee to conduct the government of the province in the name of the people.[698] On the 4th the last Colonial Assembly of Rhode Island renounced its allegiance (Newport Hist. Mag., Jan., 1884, p. 131). A letter of Gen. Lee to Patrick Henry, on May 7th, has raised a doubt of Henry's steadfastness (Force, 5th ser., i. 95), but Henry assisted in that vote of the Virginia Convention, on the 15th, which instructed its representatives in Congress to move a vote of independence.[699] R. H. Lee wrote to Charles Lee that "the proprietary colonies do certainly obstruct and perplex the American machine."[700] Dickinson, as representing these proprietary governments, saw something different from independency in John Adams's motion of May 15th, that "the several colonies do establish governments of their own;" but when that vote had passed, Adams and everybody else, as he says, considered it was a practical throwing[258] off of allegiance, and rendered the formal declaration of July 4th simply necessary.[701] Hawley and Warren now wrote to Sam Adams, inquiring why this hesitancy in declaring what even now exists? (Wells, ii. 393); and Winthrop urges the same question upon John Adams (Mass. Hist. Soc. Coll., xliv. 306).
THOMAS JEFFERSON.
(After picture owned by T. J. Coolidge, of Boston.)
After a painting in monochrome by Stuart, which was formerly at Monticello, and is now owned by Jefferson's great-grandson, T. Jefferson Coolidge, of Boston. It was painted during Jefferson's presidency. An engraving from a copy owned by Mrs. John W. Burke, of Alexandria, Va., is given in John C. Fremont's Memoirs of my Life, vol. i. p. 12 (N. Y., 1887). A portrait of Jefferson, three quarters length, sitting, with papers in his lap, was painted for John Adams by M. Brown, and is engraved in Bancroft's United States, orig. ed., vol. viii. A picture by Neagle is engraved in Delaplaine's Repository (1835). The profile by Memin is in Gay's Pop. Hist. U. S., iii. 484. There are various likenesses by Stuart: a full-face and a profile, owned by T. Jefferson Coolidge, of Boston,—the profile is mentioned above, and the full-face is one of a series of the Five Presidents, and it has been engraved in Higginson's Larger History; a full-length, belonging to the heirs of Col. T. J. Randolph, of Edgehill, Va. (engraved in stipple by D. Edwin); and other pictures in the Capitol, in the White House, at Bowdoin College, and in the possession of Edw. Coles, of Philadelphia (engraved by J. B. Forrest). The picture engraved in Sanderson's Signers, vii., is a Stuart. A photogravure, made of the one at Bowdoin College, is given in an account of the art collections there, issued by the college.
Lossing, in a paper on "Monticello", Jefferson's home, in Harper's Mag., vol. vii., pictures some of the memorials of Jefferson (cf. also Scribner's Monthly, v. 148), and adds views of the houses of other signers of the Declaration. This is done also by Brotherhead in his Book of the Signers, together with rendering in fac-simile autograph papers of each of them. Cf. J. E. Cooke on Jefferson in Harper's Mag., liii. p. 211; and also "The Virginia Declaration of Independence, or a group of Virginia Statesmen", with various cuts, in the Mag. of Amer. History, May, 1884, p. 369, giving portraits of Archibald Cary, Edmund Pendleton, Patrick Henry, R. H. Lee, Geo. Mason, Thomas Nelson, Jr., Benj. Harrison, Edmund Randolph, James Madison, with views also of Gunston Hall (Mason's home), Henry's house, Harrison's mansion of Berkeley, and of the old Raleigh tavern, associated with the patriots' meetings.
As the debates went on, reassuring notes came from New England in respect to the Virginia resolutions. Connecticut took action on June 14th (Hinman's Connecticut during the Rev., 94). Langdon wrote from New Hampshire, June 26th, that he knew of none who would oppose it (Hist. Mag., vi. 240). The vote of July 2d finished the issue. Honest belief, intimidation, a run for luck, and more or less of self-interest[702] had made the colonies free on paper, and compelled anew the conflict which was to make their pretensions good.
STATE HOUSE, PHILADELPHIA, 1778.
This view of the building in which Congress sat is from the Columbian Magazine, July, 1787. Cf. Scharf and Westcott's Philadelphia, i. 322, and Egle's Pennsylvania, p. 186; Harper's Mag., iii. 151. An architect's drawing of the front is on a folding sheet in A new and complete Hist. of the Brit. Empire in America (London, 1757?). Cf. other views in Lossing's Field-Book, ii. 272, 288. A water-color view by R. Peale is now preserved in the building. Cf. Belisle's Hist. of Independence Hall; Col. F. M. Etting's Memorials of 1776, his Hist. of the Old State House (1876), and his paper in the Penn Monthly, iii. 577; Lossing and others in Potter's Amer. Monthly, vi. 379, 455, vii. 1, 67, 477; John Savage's illustrated article in Harper's Monthly, xxxv. p. 217. Between 1873 and 1875 the hall was restored nearly to its ancient appearance, and now has some of the furniture in it used at the time of the Declaration. Cf. view in Gay, iii. 481, and Higginson's Larger Hist., 278. It has become a museum to commemorate the Revolutionary characters. The reports of the committee of restoration were printed. Cf. Scharf and Westcott, i. 318, and Col. Etting's History; also B. P. Poore's Descriptive Catal. of Government Publications, p. 945.
For the conditions of living in Philadelphia, and the appearance of the town at this time and during the war, see Watson's Annals; Scharf and Westcott's Philadelphia (ch. xvi., 1765-1776, xvii., 1776-1778, xviii., 1778-1783); Henry C. Watson's Old Bell of Independence (Philad., 1852,—later known as Noble Deeds of our Forefathers); R. H. Davis in Lippincott's Mag. (July, 1876), xviii. 27, and in Harper's Monthly, lii. pp. 705, 868; and F. D. Stone on "Philadelphia Society a hundred years ago, or the reign of Continental money." in Penna. Mag. of Hist., iii. 361. The diaries of Christopher Marshall (Albany, 1877) and of James Allen (Penna. Mag. of Hist., July, 1885, pp. 176, 278, 424) are of importance in this study.
ORIGINAL DRAFT OF THE DECLARATION OF INDEPENDENCE.
This reproduces only the sentences near the beginning in the handwriting of Thomas Jefferson, showing his corrections. Later in the manuscript there are corrections, of no great extent, in the handwriting of John Adams and Benj. Franklin. The original paper is in the Patent Office at Washington, and is printed in Jefferson's Writings, i. 26; in Randall's Jefferson; in the Declaration of Independence (Boston, 1876, published by the city), where is also a reduced fac-simile of the engraved document as signed. Cf. Guizot's Washington, Atlas. Lossing (Field-Book, ii. 281) gives a fac-simile of a paragraph nearly all of which was omitted in the final draft, as was the paragraph respecting slavery (Jefferson's Memoir and Corresp., i. p. 16). A letter of Jefferson to R. H. Lee, July 8, 1776, accompanying the original draft, showing the changes made by Congress, is in Lee's Life of R. H. Lee, i. 275. For accounts of various early drafts, and for John Adams's instrumentality in correcting it, see C. F. Adams's John Adams, i. 233, ii. 515. Cf. also Parton's Jefferson, ch. 21; and his Franklin, ii. 126. John Adams contended that the essence of it was in earlier tracts of Otis and Sam. Adams (Works, ii. 514).
On the literary character of the document, see Greene's Historical View, p. 382; the lives of Jefferson by Tucker, Parton, Randall, John T. Morse, Jr. The similarity of the preamble of the Constitution of Virginia and certain parts of the Declaration have been taken to show that Jefferson plagiarized (New York Review, no. 1), but the testimony of a letter of George Wythe to Jefferson, July 27, 1776, seems to make it clear that Jefferson was the writer of that part of the Constitution, though Geo. Mason formed the body of it. Cf. also Wirt's Patrick Henry and Tucker's Jefferson.
The text of the Declaration as Jefferson originally wrote it will be found in Randall's Jefferson, p. 172; Niles's Weekly Register, July 3, 1813; Timothy Pickering's Review of the Cunningham Correspondence (1824), the Madison Papers. These copies do not always agree, since different drafts were followed. It is given, with changes indicated as made by Congress, in Jefferson's Works, i.; Russell's Life and Times of Fox; Lee's R. H. Lee. John Adams (Works, ii. 511) gives the reasons why Jefferson was put at the head of the committee for drafting the Declaration (Potter's American Monthly, vii. 191).
Trumbull's well-known picture of the committee presenting the Declaration in Congress was made known through A. B. Durand's engraving in 1820. The medals commemorating the event are described in Baker's Medallic Portraits of Washington, p. 32. The house in Philadelphia in which Jefferson wrote the Declaration of Independence is shown in Scharf and Westcott's Philadelphia (i. 320); Watson's Annals of Philadelphia (iii.); Brotherhead's Signers (1861, p. 110); Potter's American Monthly, vi. 341; Gay's Pop. Hist. U. S., iii. 483; Higginson's Larger Hist. U. S., 274. The desk on which he wrote it was for a long time in the possession of Mr. Joseph Coolidge of Boston, and at his death passed by his will to the custody of Congress. Randall's Jefferson, i. 177; Mass. Hist. Soc. Proc., iii. 151.
The resolutions of independency of June 7th, introduced by R. H. Lee, in accordance with instructions from Virginia,[703] are not preserved either in the MS. or printed journals, and John Adams tells us (Works, iii. 45) much was purposely kept out of the records; but they have been found in the secretary's files, and are given in fac-simile in Force (4th ser., vi. p. 1700). Of the proceedings and debates which followed we have, beside the printed journals (i. 365, 392), three manuscript journals.[704] For details we must go to the memoranda made by Jefferson from notes taken near the time.[705] There seems no doubt that John Adams was the leading advocate of the Declaration[706] and such traces as are found of other speakers are noted in Bancroft, orig. ed., viii. 349; Wells's Sam. Adams, ii. 413, 433; Randall's Jefferson, i. 182. Bancroft draws John Adams's character with some vigor (viii. 309). Dickinson made the main speech against Adams. Bancroft abridges it from Dickinson's own report (viii. 452); Ramsay (i. 339) sketched it. (Cf. Niles's Principles, 1876, p. 400, and John Adams's Works, iii. 54.) Adams thought Dickinson's printed speech very different from the one delivered. Galloway, in his Examination before Parliament, gave only the flying rumors of what passed. The later writers summarize the debates and proceedings.[707]
There is some confusion in later days in the memory of participants, by which the decision for independence on July 2d is not kept quite distinct from the formal expression of it on July 4th. (Cf. McKean in John Adams, x. 88.)
It was the New York, and not the New Jersey, delegates who were not instructed to vote for the Declaration (Wells, i. 226). The position of New York is explained by W. L. Stone in Harper's Mag., July, 1883. The instructions from Pennsylvania and Delaware came late.[708]
ROGER SHERMAN
After a painting owned by a descendant in New Haven. Cf. portrait by Earle in Sanderson's Signers in Brotherhead's Book of Signers (1861), p. 75, will be found a view of his house. He was of the Committee to draft the Declaration of Independence.
Notwithstanding that the statements of both Jefferson (Writings, Boston, 1830, vol. i. 20, etc.) and Adams, made at a later day (Autobiography), and the printed Journals of Congress, seem to the effect that the Declaration was signed by the members present on July 4, 1776, it is almost certain that such was not the case.
Note.—These four plates show the signatures of the signers (now very much faded in the original document), arranged not as they signed, but in the order of States, beginning with Massachusetts and ending with Georgia. The signatures were really attached in six columns, containing respectively 3, 7, 12 (John Hancock heading this one), 12, 9, 13,—as is shown in a reduced fac-simile of the entire document as signed, given in The Declaration of Independence (Boston, 1876). The signatures are also given in Sanderson's Signers, vol. i.; in Harper's Mag., iii. 158, etc. The formation of a set of the autographs of the "Signers" is, or rather has been, called the test of successful collecting. The signatures of Thomas Lynch, Jr., Button Gwinnett, and Lyman Hall are said to be the rarest. The Rev. Dr. Wm. B. Sprague is said to have formed three sets; but these collections, as well as those of Raffles, of Liverpool, and Tefft, of Savannah, have changed hands.
The finest is thought to belong to Dr. Thomas Addis Emmet, of New York. The set of Col. T. B. Myers is described in the Hist. Mag., 1868. One was sold in the Lewis J. Cist collection in N. Y., Oct., 1886 (p. 47). It has been said that "of the fifty-six signers of the Declaration of Independence, nine were born in Massachusetts, eight in Virginia, five in Maryland, four in Connecticut, four in New Jersey, four in Pennsylvania, four in South Carolina, three in New York, three in Delaware, two in Rhode Island, one in Maine, three in Ireland, two in England, two in Scotland, and one in Wales. Twenty-one were attorneys, ten Merchants, four physicians, three farmers, one clergyman, one printer; sixteen were men of fortune. Eight were graduates of Harvard College, four of Yale, three of New Jersey, two of Philadelphia, two of William and Mary, three of Cambridge, England, two of Edinburgh, and one of St. Omers.
At the time of their deaths, five were over ninety years of age, seven between eighty and ninety, eleven between seventy and eighty, twelve between sixty and seventy, eleven between fifty and sixty, seven between forty and fifty; one died at the age of twenty-seven, and the age of two is uncertain. At the time of signing the Declaration, the average of the members was forty-four years. They lived to the average age of more than sixty-five years and ten months. The youngest member was Edward Rutledge, of South Carolina, who was in his twenty-seventh year. He lived to the age of fifty-one. The next youngest member was Thomas Lynch, of the same State, who was also in his twenty-seventh year. He was cast away at sea in the fall of 1776. Benjamin Franklin was the oldest member. He was in his seventy-first year when he signed the Declaration. He died in 1790, and survived sixteen of his younger brethren. Stephen Hopkins, of Rhode Island, the next oldest member, was born in 1707, and died in 1785. Charles Carroll attained the greatest age, dying in his ninety-sixth year. William Ellery, of Rhode Island, died in his ninety-first year." The standard collected edition of their lives is a work usually called Sanderson's Biography of the signers of the declaration of independence (Philadelphia, 1820-27, in 9 vols.)
Contents.—1. View of the British colonies from their origin to their independence; John Hancock, by John Adams. 2. Benjamin Franklin, by J. Sanderson; George Wythe, by Thomas Jefferson; Francis Hopkinson, by R. Penn Smith; Robert Treat Paine, by Alden Bradford. 3. Edward Rutledge, by Arthur Middleton; Lyman Hall, by Hugh McCall; Oliver Wolcott, by Oliver Wolcott, Jr.; Richard Stockton, by H. Stockton; Button Gwinnett, by Hugh McCall; Josiah Bartlett, by Robert Waln, Jr.; Philip Livingston, by De Witt Clinton; Roger Sherman, by Jeremiah Evarts. 4. Thomas Heyward, by James Hamilton; George Read, by —— Read; William Williams, by Robert Waln, Jr.; Samuel Huntington, by Robert Waln, Jr.; William Floyd, by Augustus Floyd; George Walton, by Hugh McCall; George Clymer, by Robert Waln, Jr.; Benjamin Rush, by John Sanderson. 5. Thomas Lynch, Jr., by James Hamilton; Matthew Thornton, by Robert Waln, Jr.; William Whipple, by Robert Waln, Jr.; John Witherspoon, by Ashbel Green; Robert Morris, by Robert Waln, Jr. 6. Arthur Middleton, by H. M. Rutledge; Abraham Clark, by Robert Waln, Jr.; Francis Lewis, by Morgan Lewis; John Penn, by John Taylor; James Wilson, by Robert Waln, Jr.; Carter Braxton, by Judge Brackenborough; John Morton, by Robert Waln, Jr.; Stephen Hopkins, by Robert Waln, Jr.; Thomas M'Kean, by Robert Waln, Jr. 7. Thomas Jefferson, by H. D. Gilpin; William Hooper, by J. C. Hooper; James Smith, by Edward Ingersoll; Charles Carroll, by H. B. Latrobe; Thomas Nelson, Jr., by H. D. Gilpin; Joseph Hewes, by Edward Ingersoll. 8. Elbridge Gerry, by H. D. Gilpin; Cæsar Rodney, by H. D. Gilpin; Benjamin Harrison, by H. D. Gilpin; William Paca, by Edward Ingersoll; George Ross, by H. D. Gilpin; John Adams, by E. Ingersoll. 9. Richard Henry Lee, by R. H. Lee; George Taylor, by H. D. Gilpin; John Hart, by Robert Waln, Jr.; Lewis Morris, by E. Ingersoll; Thomas Stone, by E. Ingersoll; Francis L. Lee, by Robert Waln, Jr.; Samuel Chase, by E. Ingersoll; William Ellery, by H. D. Gilpin; Samuel Adams, by H. D. Gilpin.
Vols. 1, 2 were edited by John Sanderson; the remainder by Robert Waln, Jr. A list of the authors of the different biographies is given in the Massachusetts Historical Society's Proceedings, xv. 393. There was a second edition, revised, improved, and enlarged (Philadelphia, 1828, in 5 vols.). An edition revised by Robert T. Conrad was published in Philadelphia in 1865.
An enumeration of books which grew out of Sanderson's Signers is given in Foster's Stephen Hopkins, ii. 183. Much smaller books are Charles A. Goodrich's Lives of the Signers (New York, 1829), and there are other collections of brief memoirs by L. C. Judson (1829) and Benson J. Lossing. Cf. also papers by Lossing in Harper's Mag., iii., vii., and xlviii., and his Field-Book, ii. 868.
A fac-simile of the engrossed document as signed is given in The Declaration of Independence (Boston, 1876), and others are in Force's Amer. Archives, 5th ser., i. 1595; and one was published in N. Y. in 1865. The earliest fac-simile is one engraved on copper by Peter Maverick, of which there are copies on vellum, as well as on paper. It is called Declaration of Independence, copied from the Original in the Department of State and published, by Benjamin Owen Tyler, Professor of Penmanship. The publisher designed and executed the ornamental writing and has been particular to copy the Facsimilies exact, and has also observed the same punctuation, and copied every Capital as in the original (Washington, 1818).
Note.—The cut on this page is a reduction of a broadside issued in Boston, of which there is a copy in the library of the Mass. Hist. Society, where there are copies of similar broadsides issued in Philadelphia and Salem. The fac-simile given in Gay's Pop. Hist. U. S. (iii. 483) is of the Boston broadside without the imprint at the bottom of the sheet. The first impression made for Congress was printed at Philadelphia by John Dunlap, and the copy sent to Washington is in the library of the State Department. It was also later printed in broadside at "Baltimore in Maryland, by Mary Katharine Goddard", and those of the copies which I have seen, as attested by Hancock and Thomson in their own hands, in addition to the printed signatures, and sent to the several States by order of Congress, Jan. 18, 1777, are of this Baltimore imprint. Such a copy is in the Mass. Archives, cxlii. 23, together with the letter of Hancock transmitting it to that State. There is another copy, similarly attested, in the Boston Public Library; and a reduced fac-simile of such a copy, with its attestations, is given in the Orderly-book of Sir John Johnson (p. 220). It was generally, I think, inscribed on the records of the several States, and I have seen it in the records of the towns in New England. (Cf. N. H. State Papers, viii. 200.) It is copied as it appeared in the Penna. Journal, July 10th, in Moore's Diary of the Rev., i. 262; and in England it was reprinted in Almon's Remembrancer, iii. 258; Annual Register, 1776, p. 261; and in the Gentleman's Mag., Aug., 1776.
The earliest authorized reprint in any collection appeared at Philadelphia in 1781, in The Constitutions of the several States of America; The Declaration of Independence; The Articles of Confederation; The Treaties between his most Christian Majesty and the United States of America. Published by order of Congress (Sabin, iv. 16,086, who says 200 copies were printed, and who gives various other early editions). The Rev. William Jackson edited at London, in 1783, The constitutions of the independent states of America; the declaration of independence; and the articles of confederation. Added, the declaration of rights, non-importation agreement, and petition of Congress to the King. With appendix, containing treaties. It can be found in Bancroft, viii. 467; H. W. Preston's Documents illustrating American History; Sherman's Governmental Hist. U. S., p. 615; Frothingham's Rise of the Republic, p. 539; and in very many other collections and places.
JOHN DICKINSON.
From Du Simitière's Thirteen Portraits (London, 1783). Cf. Heads of illustrious Americans (London, 1783). The usual portrait is given in Higginson's Larger History, p. 270.
McKean, in 1814, said it was not so,[709] and the best investigators of our day are agreed that the president and secretary alone signed it on that day, though Lossing, following Jefferson, has held that, though signed on that day on paper by the members, it was in the nature of a temporary authentication, and it did not preclude the more formal act of signing it on parchment, which all are agreed was done on August 2d following. Thornton, of New Hampshire, signed as late as Nov. 4th; and McKean, who was absent with the army, seems to have temporarily returned so as to sign later in the year. Thornton's name appears in the printed Journal as attached to the Declaration on July 4th, and McKean's is not, though McKean was present and Thornton was not. The fact is, the printed Journal is not a copy of the record of that day, and was made up without due regard to the sequence of proceedings, when prepared by a committee for the press in the early part of 1777. There is in Force's American Archives (4th ser., vol. vi. p. 1729) a journal constructed by combining the original record (of which we have no printed copy) and the minutes and documents of the official files. From a collation of all these early records it appears that the vote of January 18, 1777, ordering the Declaration to be printed with the names attached,—then for the first time done,—made it convenient to use this printed record in making the published Journal entry under July 4th. In this way the name of Thornton, who signed it even subsequent to Aug. 2d, appears in that printed record as having been put to the Declaration on July 4th. That any[269] paper copy was signed on July 4th is not believed, from the fact that no such copy exists; and if it be claimed that it has been lost, there is still ground for holding rather that it never existed, inasmuch as no vote is found for any authentication except in the usual way, by Hancock and Thomson, the president and secretary. McKean's criticism was the first to confront the usual public belief of its being signed July 4th, as many respectable writers have maintained since who preferred the authority of the printed Journal and of Jefferson and Adams. Such was Mahon's preference, and Peter Force rather curtly criticised him for it, in the National Intelligencer.[710] Force did not explain at length the grounds of his assertions, and Mahon did not alter his statement in a later edition; but a full explanation has been made by Mellen Chamberlain in his Authentication of the Declaration of Independence (Cambridge, 1885), which originally made part of the Mass. Hist. Soc. Proc., Nov., 1884, p. 273. He gives full references.
The immediate effects of the Declaration in America are traced in Frothingham's Rise of the Republic, p. 548. "No one can read", says Wm. B. Reed in his Life of Joseph Reed (i. p. 195), "the private correspondence of the times without being struck with the slight impression made on either the army or the mass of the people by the Declaration of Independence."
The Declaration was, of course, at once commented on in the Gentleman's Magazine, in Almon's Remembrancer, and in the other periodical publications. Hutchinson's Strictures have been mentioned. The ministry seem to have been behind the Answer to the Declaration of the American Congress, referred to in a preceding page, which was ostensibly written by John Lind and privately printed in London in 1776, but was soon published without his name, appearing in five different editions during the year, and was the next year (1777) printed in French both in London and La Haye. In the earlier edition the outline of a counter declaration was included (Sabin, x. 41,281-82). Lord Geo. Germaine is also said to have had a hand in The Rights of Great Britain asserted against the claims of America, which passed through three editions at least, the last with additions, during 1776, beside being reprinted in Philadelphia (Hildeburn, no. 3,352). Sir John Dalrymple and James Macpherson are also thought to have some share in it.[711] Lord Camden's views are given in Campbell's Lives of the Chancellors (v. 301). It soon became apparent that the liberal party in England felt that the Declaration showed the Americans determined to act without their continued assistance (Smyth's Lectures, ii. 439). Bancroft (ix. ch. 3) traces the general effects in Europe.[712]
The appearance, Jan. 8, 1776, of the Common Sense, written by Thomas Paine, a stay-maker and sailor whom Franklin had accredited when he came over in the summer of 1774, had produced a sudden effect throughout the continent.[713]
JOHN HANCOCK. (The Scott picture.)
Perkins (Life and Works of Copley, p. 70) notes three different likenesses of Hancock, painted by that artist. The first represents him sitting at a table, which bears an open book, upon which his left hand lies, while the right holds a pen. This picture, formerly in Faneuil Hall, is now in the Museum of Fine Arts in Boston. The Copley head has been engraved by I. B. Forrest and J. B. Longacre (Sanderson's Signers), and there is a woodcut in the Memorial Hist. of Boston, iv. p. 5, and another engraving of it in W. H. Bartlett's United States, p. 343. Cf. Gay's Pop. Hist. U. S., iii. 358. The German picture from the Geschichte der Kriege in und ausser Europa (Neunter Theil, Nürnberg, 1777), of which a fac-simile is given herewith, is evidently based on this picture, omitting the accessories. A similar picture, with supports of cannon at the lower angles, is in Hilliard d'Auberteuil's Essais, i. p. 152. It seems to have been the likeness known on the continent of Europe, and is perhaps the one referred to by John Adams, in writing to Spener, a Berlin bookseller, when he says, "The portrait of Mr. Hancock has some resemblance in the dress and figure, but none at all in the countenance" (Works, ix. 524). The immediate prototype of the German picture may have been a London engraving, described in Smith's British Mezzotint Portraits as being in an oval, with a short wig and tie at back, and professing to be painted by Littleford, and published Oct. 25, 1775, by C. Shepherd, which was one of a series of American portraits published in London from 1775 to 1778, of which some, says that authority, were reëngraved in Germany. The two other Copley pictures are described by Perkins as being owned by Hancock's descendants: one an oval, showing him dressed in blue coat laced with gold; the other a miniature on copper. There is in the Bostonian Society a photograph of a picture owned by C. L. Hancock. It will be remembered that Hancock's widow married Capt. James Scott; and it is perhaps one of these Copley pictures that is reproduced from an English print in J. C. Smith's British Mezzotint Portraits, p. 1321, and shown in the present engraving (the Scott picture), of which the original, an oval, bears this inscription: "The Honble John Hancock, Esqr, late Governor of Boston in North America, done from an original picture in the possession of Capt. James Scott. Published by John Scott, No. 4, Middle Row, Holborn. Copley pinxt. W. Smith, sculp." Smith also gives another print, which represents Hancock as standing, with the left hand in his pocket, the other holding a letter addressed to "Mons. Monsieur Israel Putnam, major general à Long Island." The face is much like the other.
The Copley head seems also to have been used in the sitting figure, which appeared in the Impartial History of the War in America (London, 1780, p. 207), of which a fac-simile is elsewhere given. The same picture was reëngraved in even poorer manner in the Boston edition of the book with the same title (1781, p. 346). Other contemporary engravings are found in the European Magazine (iv. p. 105); in the Royal American Magazine (March, 1774, reproduced in fac-simile in the Mem. Hist. Boston, iii. 46); and in Murray's Impartial History of the present War (1778, vol. i. p. 144). Cf. Drake's Tea Leaves, p. 286.
The character of Hancock had pettinesses that have served to lower his popular reputation, and this last is well reflected in the drawing of his traits in Wells's Sam. Adams (ii. 381). John Adams, whose robustness of character was quite at variance with that of his friend, was not blinded to sterling qualities in the rich man, who gave an adherence to a cause that few of his position in Massachusetts did (John Adams's Works, x. 259, 284). Adams's grandson speaks of the biography of Hancock in Sanderson's Signers as a curious specimen of unfavorable judgment in the guise of eulogy, and a sketch by this same grandson, C. F. Adams, is in the Penna. Mag. of Hist., p. 73, and a memoir by G. Mountfort in Hunt's American Merchants, vol. ii. The accounts in Loring's Hundred Boston Orators, p. 72, and by Gen. W. H. Sumner in the N. E. Hist. and Geneal. Reg., April, 1854 (viii. 187), are rambling antiquarian tales.
JOHN HANCOCK. (From the "Geschichte der Kriege.")
John Adams (Works, ii. 507; ix. 617) said of Common Sense that it embodied a "tolerable summary of the arguments for independence which he had been speaking in Congress for nine months", and which Mahon (vi. 96) has called "cogent arguments" "in clear, bold language;" but Adams deemed unwise some of its suggestions for the governments of the States, and to counteract their influence he published anonymously his Thoughts on Government (Philadelphia, 1776; Boston, 1776; often since, and also in Works, iv. 193; ix. 387, 398), which he says met the approval of no one of any consideration except Benjamin Rush. He added his name to the second edition, and records that it soon had due influence upon the Assemblies of the several States, when about this time they adopted their constitutions. Adams's views were first embodied in a letter to R. H. Lee, Nov. 15, 1775 (Works, iv. 185; Sparks's Washington, ii., App.). What seems an anonymous reply from a native of Virginia—that colony being then engaged in framing a constitution—was An address to the Convention of the Colony and Ancient Dominion of Virginia, which was an attempt to counteract the tendency to popular features in government, which Adams had inculcated. It is in Force, 4th ser., vi. 748, and was written by Carter Braxton (Hildeburn's Issues of the press in Pennsylvania, Philad., 1886, no. 3,340).
CHARLES THOMSON.
From Du Simitière's Thirteen Portraits (London, 1783). Cf. also Heads of illustrious Americans (London, 1783). There is a portrait in the gallery of the Penna. Hist. Society. Scharf and Westcott's Philadelphia (i. 274, 275) gives his likeness and a view of his house, and another picture of the house is in Brotherhead's Signers (1861, p. 113). Cf. Lossing's Field-Book, ii. 267, and Potter's Amer. Monthly, vi. 172, 264, vii. 161.
Adams also wrote an amplified statement of some of his views to John Penn, of North Carolina, which is given in John Taylor's Inquiry into the principles and policy of the Government of the United States (1814), and in Adams's Works, iv. 203.
The vote of Congress of May 15, 1776, had called upon the several colonies to provide for independent governments, and Jameson (Constitutional Conventions, N. Y., 1867, p. 112, etc.) summarizes the actions of the several States.[714] New Hampshire was the first to act, and Belknap in his New Hampshire, and the histories of the other States, tell the story of their procedures. South Carolina was the next, but Virginia was the earliest to form such a constitution that it could last for many years. On June 12, 1776, she adopted her famous Declaration of Rights, drawn by Geo. Mason,[715] and June 29th perfected her constitution.[716] For New Jersey, see L. Q. C. Elmer's Hist. of the Constitution adopted in 1776 and of the government under it (Newark, 1870, and in N. J. Hist. Soc. Proc., 2d ser., ii. 132), and the Journal and votes and Proceedings of the Convention of New Jersey (Burlington, 1776). For the movements in Pennsylvania, see Reed's Jos. Reed, i. ch. 7; the Proceedings relative to the calling of the Conventions of 1776 and 1790 (Harrisburg, 1825); Anna H. Wharton's "Thomas Wharton, first governor of Pennsylvania", in the Penna. Mag. of Hist., v. 426, vi. 91; and the biographies of the members of the convention in the Penna. Mag. of Hist., iii. and iv. The statements of the loyalist Jones in his New York during the Rev. (p. 321) are controverted by Johnston in his Observations (p. 41).
CHRISTOPHER MARSHALL'S DIARY.
A page from Christopher Marshall's diary, preserved in the Penna. Hist. Soc., giving his description of the public reading of the Declaration of Independence, in Philadelphia, on July 8th. Cf. Extracts from the diary of Christopher Marshall kept in Philadelphia and Lancaster during the American Revolution, 1774-1781, edited by Wm. Duane (Albany, 1877). On this reading, see Penna. Mag. of Hist., viii. 352, and W. Sargent's Loyal Verses of Stansbury and Odell, p. 116.
The English notion of the way in which the proclamation was made may be learned from Edward Bernard's contemporary folio Hist. of England (p. 689), where a large print represents an uncovered man on horseback reading a scroll to a crowd in the street, called "The manner in which the American Colonies declared themselves independent of the King of England throughout the different provinces on July 4, 1776." The reading took place in New York July 9th (Bancroft, ix. 36), and in Boston July 18th (Mem. Hist. Boston, iii. 183). Moore's Diary of the Rev., i. (1776), records from contemporary journals the way in which it was received in various places. A letter of Major F. Barber in the New Jersey Hist. Soc. Proc., v., shows how the reception of the news was observed at Fort Stanwix.
For the convention in New York, see Debates of the N. Y. Conventions (1821), App., p. 691; Flanders's Life of Jay, ch. 8; and Sparks's Gouverneur Morris.[717] For Georgia, see C. C. Jones's Georgia, ii. ch. 13. Jameson (p. 138) outlines the peculiar circumstances of the early constitutional history of Vermont. Massachusetts was the last (1780) of the original States to frame a constitution. (See John Adams's Works, iv. 213; ix. 618.) Adams drafted the constitution presented by the committee, which was printed as Report of a Constitution or form of government,[718] and is printed without embodying the Errata in John Adams's Works (iv. 219), which copies it from the Appendix of the Journal of the Convention (Boston, 1832), where it was also printed in that defective manner.[719]
John Adams, in his Defence of the Constitutions of Government of the United States of America (1787,—in Works, iv. 271), set forth the views which influenced largely the framers of many of the constitutions of the States. Connecticut and Rhode Island retained their original charters through the war.
This action of the States rendered easier a plan of confederation, which seems to have been proposed by Franklin as early as Aug. 21, 1775. On July 12, 1776, a plan in Dickinson's handwriting, based on Franklin's, was reported, and was finally adopted by Congress, Nov. 15, 1777 (Journals, ii. 330), which was ratified by all the States in 1778 except Delaware (1779) and Maryland (1781), at which last date it became obligatory on all.[720]
The reader needs to be cautioned against a publication which assumes to be an Oration delivered at the State House in Philadelphia Aug. 1, 1776, by Samuel Adams (Philadelphia, reprinted at London, 1776), and which was translated into French and German. It is reprinted in Wells, iii., App. There is no copy of the pretended Philadelphia original known, and the publication is a London forgery (Wells, ii. 439), discoverable, if for no other reason, from the fact that its writer was unaware that the Declaration of Independence had passed.
THE STRUGGLE FOR THE HUDSON.
BY GEORGE W. CULLUM,
Major-General United States Army.
WHEN, in March, 1776, the British evacuated Boston, Washington felt assured that New York, already threatened, would be their objective point, not only on account of its commercial and strategical importance, but because it was the great arsenal of America. He therefore, as soon as practicable, concentrated in and about it his whole disposable force, and pushed forward the defences of the city and of its vicinity, already planned and partly executed by General Lee. Until the arrival of Washington, April 13, 1776, General Putnam commanded at New York, and General Greene, with a considerable body of troops, took charge of the incomplete intrenchments of Brooklyn, extending from the Wallabout (the present Navy Yard) to Gowanus Cove on New York Bay. These were now strengthened by four redoubts armed with twenty pieces of artillery, and by a strong interior keep mounting seven guns. These Brooklyn Heights, from their proximity and command of New York, were considered the key of the defence of this valuable city.
Fort George, with several redoubts and batteries, guarded the southern end of Manhattan Island, while the fortified hills overlooking Kingsbridge protected its northern extremity. On Red and Paulus Hooks, and at various points along the shores of the East and Hudson rivers, were erected earthworks, and a strong redoubt was built upon Governor's Island. Between the latter and the "Battery", hulks were sunk to obstruct the main channel. Notwithstanding all these defences, Manhattan Island, as events proved, was assailable at many points.
To defend these works, scattered over more than twenty miles, Washington had an army of only 17,225 men, of whom 6,711 were sick, on furlough, or detached, leaving but 10,514 present for duty. Most of these were militia, badly clothed, imperfectly armed, without discipline or military experience, and their artillery was old and of various patterns and calibres.
There had been dispatched from England a powerful fleet under Lord Howe, convoying a large body of troops to reinforce those already in America. The army of General William Howe (brother of the Admiral) on Staten Island in August (including some 8,600 German hirelings) numbered, as[276] stated by General Clinton, 31,625 rank and file, of whom 24,464 were well-appointed, disciplined soldiers, fit for duty and equal to any in Europe.
The struggle for the Hudson, by the coöperation of the army of Canada with Howe, was now about to begin; but Washington was at his wits' end to foresee the particular point upon which the blow would fall. Hence he was obliged to retain the greater part of his troops in New York to defend the city, holding them ready, however, to support any point in the vicinity whether assailed by the enemy's large fleet or by their powerful army.
THE MORTIER HOUSE, RICHMOND HILL.
(Washington's Headquarters.)
From a plate in the New York Magazine, June, 1790, when the house, then owned by Mrs. Jephson, was occupied by John Adams, as Vice-President of the United States. It was at one time the home of Aaron Burr. See Parton's Burr, i. 81.
Washington's first headquarters in New York were probably at a house, 180 Pearl St., opposite Cedar St., sometimes called the house of Gov. Geo. Clinton, of which a view is given in Valentine's Manual, 1854, p. 446, and in Lossing's Mary and Martha Washington (N. Y., 1886), p. 153. He is also supposed by some to have occupied for a short interval the Kennedy mansion, No. 1 Broadway, known to have been used certainly by Col. Knox as artillery headquarters, of which a view is given in Irving's Washington, illus. ed. ii. 211, and in Gay's Pop. Hist. U. S., iii. 495. (Cf. Drake's Knox; Lossing's Field-Book, ii. 594; Johnston's Campaign of 1776, p. 86.) In June, if not earlier, he removed to the Mortier House on Richmond Hill, and remained there till September, when he transferred his headquarters first to the Apthorp House (view in Mag. of Amer. Hist., 1885, p. 227), still standing at the corner of Ninth Avenue and Ninety-first Street, and next to the Morris House at Harlem.—Ed.
On the morning of August 22, 1776, General Howe, under cover of the guns of the British ships, without mishap, delay, or opposition, debarked,[277] as stated by Admiral Howe, about 15,000 men, with artillery, baggage, and stores, on Long Island, in the vicinity of the Narrows; and on the 25th, General de Heister's German division was landed at Gravesend Cove. This invading force of "upwards of 20,000 rank and file", well armed and with forty cannon, promptly occupied a line extending from the Narrows, through Gravesend, to Flatlands, and made ready for an immediate advance through the passes of the long range of densely wooded hills running eastwardly from the Narrows to Jamaica, about two and a half miles in front of Brooklyn. To oppose this large force of regular troops, the Americans had not quite 8,000 men, most of whom were raw militia, and of these about one half were outside of the defences of Brooklyn, ready to participate in the impending battle.
LORD HOWE.
From Andrews's Hist. of the War, Lond., 1785, vol. ii.—Ed.
The most direct route from the British landing-place to the Brooklyn intrenchments was by the road running nearly parallel to the bay, and passing through a gorge just back of the Red Lion Tavern, where Martense Lane joins the usual thoroughfare at the edge of Greenwood Cemetery. A second road led from Flatbush directly through the pass defended by General Sullivan's intrenchments. The third was by the road from Flatbush to Bedford. Finally, the fourth, extending to Flushing, intersected the Bedford and Jamaica road at the pass between the present Evergreen and Cypress Cemeteries, about three miles east of Bedford, or about ten miles from the Narrows.
GEN. SIR WM. HOWE.
From the upper part of an engraving of full length in An Impartial Hist. of the War in America, Lond., 1780, p. 204. Smith in his Brit. Mez. Portraits records a print, standing posture, sash and star, right elbow on block, left hand on hip, marked "Corbutt delin't et fecit. Lond. 10 Nov. 1777."—Ed.
When the British landed on the 22d, Colonel Hand's regiment was deployed to oppose them, but the enemy proving to be in too great force, Hand fell back to Prospect Hill and thence to Flatbush, burning property which would be of immediate use to the foe; but he did not at once apprise the commanding general of the real character of the British movement. So soon, however, as Washington heard of the landing, he dispatched six regiments to reinforce the garrison of Brooklyn Heights, and ordered additional forces to be in readiness to cross the East River from Manhattan Island, if Howe's movement did not prove to be a feint to cover a real attack upon New York. General Greene, unfortunately, was too sick to retain the active command on Long Island, every point of which, between Hell Gate and the Narrows, he had carefully studied. He was succeeded, August 20th, by General Sullivan, a far inferior officer. As Washington said of him, he was "active, spirited, and zealously attached to the cause", but was tinctured with "vanity, which now and then led him into embarrassments;" besides which he lacked "experience to move on a large scale", as he had just shown in Canada. On the 24th of August, Washington placed Putnam in command over Sullivan. Putnam was a brave soldier, but wholly ignorant of the science of war, besides being advanced in years. He was entirely unacquainted with the arrangements which had been made for the defence of his position, and he never went beyond the Brooklyn Heights intrenchments on the day of the battle. The truth is, no one exercised a general command in that conflict.
De Heister's division, constituting the enemy's centre, occupied Flatbush August 26th, threatening the pass in front, which Sullivan held with a large force under cover of intrenchments. During the evening, Cornwallis withdrew from Flatbush to Flatlands, there becoming the reserve of the British right, which was composed of choice regiments under General Clinton, aided by Lord Percy and accompanied by the commander-in-chief.
The British plan of attack would have been very hazardous in the presence of an enterprising enemy; but against undisciplined troops, small in numbers and without skilful leadership, it proved a brilliant success. The right, under Clinton, by a night march was to seize the Cypress Hill pass, and then move down the Jamaica road towards Bedford to get in the rear of[279] Sullivan's left. To divert the attention of the Americans from this stealthy march, General Grant was to menace their right, towards Gravesend, before daybreak, and De Heister at the same time was to cannonade the American centre under Colonel Hand. These attacks were not, however, to be pressed till General Clinton's guns were heard in the rear of Sullivan, when the Americans were to be assailed with the utmost vigor from all quarters. Besides these land operations a squadron of five ships, under Sir Peter Parker, was to menace New York and keep up a cannonade against Governor's Island and the right flank of the American defences.
Sir Henry Clinton, the principal actor in this contest, with his heavy column and its artillery, guided by a Tory farmer, at nine in the evening of the 26th, moved silently forward from Flatlands through New Lots (now East New York), having successfully crossed Shoemaker's narrow causeway over a long marsh. At three on the morning of the 27th, Clinton arrived within half a mile of the pass he was to force, being followed and joined before daybreak by the main body under Lord Percy. Soon after daylight a small American patrol was captured and the unguarded pass occupied. Thus the whole right wing of the enemy, after partaking of refreshments, was marching unopposed directly to Brooklyn Heights. The battle, by this bold and lucky manœuvre, was in this way virtually gained before any real struggle had begun.
General Grant, on the enemy's left, with two brigades and a regiment, two companies of Tories and ten pieces of artillery, in the mean time advanced along the bay road against the flying Americans, and, at daybreak of the 27th, got through the pass in the hills and was marching on the Brooklyn lines. General Parsons, in command of the American outpost on the right, succeeded in rallying some of the fugitives and posting them advantageously on a hill until the arrival of Lord Stirling, who, with 1,500 choice Continental troops, had been sent by Putnam on learning the condition of affairs. For some hours Grant amused Stirling by slight skirmishes about Battle Hill (now in Greenwood Cemetery), till Clinton had reached his destined goal, when Grant, with quadruple forces, pushed forward to grapple in a death-struggle with his gallant foe. At the same time De Heister, who had slept upon his arms during the night at Flatbush, as soon as he heard Clinton's signal guns, sent Count Donop to storm the redoubt which protected Sullivan and defended the pass through the hills, while he himself pressed forward with the main body of the Hessians. Sullivan, hemmed in on all sides, ordered a retreat to the Brooklyn lines, but it was too late, as he was already ensnared in the prepared net, and before long all was a scene of confusion, consternation, and slaughter. Some of the Americans, after fighting desperately, broke through the enemy's line, but a large number were killed, wounded, or taken prisoners. Washington, from Brooklyn, witnessed this sad catastrophe, but was powerless to prevent it.
Stirling in like manner, met by the force under Cornwallis, which had been detached from Clinton's column, was nearly surrounded, having no[280] chance for escape except across Gowanus Creek, in which the tide was fast rising. After a terrible conflict of twenty minutes, the mass of Stirling's command succeeded in passing the muddy stream, but the general and some of his bravest companions were compelled to surrender to superior numbers. Washington wrung his hands in agony at the sight of such disaster. "Good God", he cried, "what brave fellows I must this day lose!"
STIRLING.
After a photograph of a portrait in a family brooch, attested by H. S. Watts, Oct. 8, 1879 (in Harvard College library, given by Professor C. E. Norton). There is a picture, taken at a later day, engraved in Duer's Life of Stirling.—Ed.
By two o'clock in the afternoon, this battle, or rather this series of skirmishes between forces very unequal in numbers, quality, and skill, was terminated by the retreat of the remnant of Americans which had escaped capture. Howe stated his loss at 367 killed, wounded, and missing; and he estimated that of the Americans at 3,300, though probably it did not exceed one half of that number, of whom 1,076, including Generals Stirling, Sullivan, and Woodhull (captured at Jamaica on the next day), were made prisoners.
Fortunately the victor, instead of pressing his advantage and at once assaulting the Brooklyn intrenchments, which covered the demoralized troops, waited till the next day, when he broke ground as for a regular siege, and began cannonading the American works. "By such ill-timed caution", says Lord Mahon, "arising probably from an overestimate of the insurgents' force, the English general flung away the fairest opportunity of utterly destroying or capturing the flower of the American army;" yet such was the joy of the British government over this cheap success that General Howe was knighted for a victory over inexperienced troops one fifth his own numbers.
Washington, promptly profiting by the over-caution of his antagonist, strengthened his position, and conceived the masterly measures for his retreat from Long Island. Without the knowledge of Howe, availing himself of a dense fog and rain, and favored by a fair wind, he safely crossed the East River with all his troops, stores, and artillery, except a few heavy pieces which the mud prevented him from moving. The army reached New York on the morning of the 30th, Washington leaving in the last boat after having been forty-eight hours almost continuously in the saddle without once closing his eyes. "Whoever", says Botta, "will attend to all the details of this retreat will easily believe that no military operation was ever conducted by great captains with more ability and prudence, or under more unfavorable auspices."
Though the British general had gained a decided success, he was as far as ever from the object of his campaign—the capture of New York. The victors and the vanquished now confronted each other from opposite sides of a stream half a mile broad, each making ready for a decisive effort. Howe possessed a large, veteran, and disciplined European army, while Washington's troops, for the most part, were a demoralized assemblage of heterogeneous organizations, not much superior to an armed mob.
"Our situation", writes Washington to the President of Congress, "is truly distressing. The check our detachment sustained on the 27th ultimo has dispirited too great a proportion of our troops, and filled their minds with apprehension and despair. The militia, instead of calling forth their utmost efforts to a brave and manly opposition in order to repair our losses, are discouraged, intractable, and impatient to return. Great numbers of them have gone off: in some instances almost by whole regiments, by half ones, and by companies at a time. This circumstance of itself, independently of others, when fronted by a well-appointed enemy superior in numbers to our whole collected force, would be sufficiently disagreeable; but when their example has infected another part of the army, when their want of discipline and refusal of almost every kind of restraint and government have produced a like conduct but too common to the whole, and an entire disregard of that order and subordination necessary to the well-doing of an army, and which had been inculcated before, as well as the nature of our military establishment would admit of, our condition becomes more alarming; and, with the deepest concern, I am obliged to confess my want of confidence in the generality of the troops.
"All these circumstances fully confirm the opinion I ever entertained, and which I more than once in my letters took the liberty of mentioning to Congress, that no dependence could be put in a militia, or other troops, than those enlisted and embodied for a longer period than our regulations heretofore have prescribed. I am persuaded, and as fully convinced as I am of any one fact that has happened, that our liberties must of necessity be greatly hazarded, if not entirely lost, if their defence is left to any but a permanent standing army; I mean, one to exist during the war. Nor would the expense incident to the support of such a body of troops as would be competent to almost every emergency far exceed that which is daily incurred by calling in succor and new enlistments, which, when effected, are not attended with any good consequences. Men who have been free and subject to no control cannot be reduced to order in an instant; and the privileges and exemptions, which they claim and will have, influence the conduct of others; and the aid derived from them is nearly counterbalanced by the disorder, irregularity, and confusion they occasion."
Three weeks later, he again writes: "It becomes evident to me, then, that, as this contest is not likely to be the work of a day, as the war must be carried on systematically, and to do it you must have good officers, there are no other possible means to obtain them but by establishing your army upon a permanent footing, and giving your officers good pay. This will induce gentlemen and men of character to engage; and till the bulk of your officers is composed of such persons as are actuated by principles of honor and a spirit of enterprise, you have little to expect from them.... But while the only merit an officer possesses is his ability to raise men, while these men consider and treat him as an equal, and in the character of an officer regard him no more than a broomstick, being mixed together as one common herd, no order nor discipline can prevail; nor will the officer ever meet with that respect which is essentially necessary to due subordination. To place any dependence upon militia is assuredly resting upon a broken staff.... To bring men to a proper degree of subordination is not the work of a day, a month, or even a year; and unhappily for us and the cause we are engaged in, the little discipline I have been laboring to establish in the army under my immediate command is in a manner done away with by having such a mixture of troops as have been called together within these few months....
"The jealousy of a standing army and the evils to be apprehended from one are remote, and in my judgment, situated and circumstanced as we are, not at all to be dreaded; but the consequence of wanting one, according to my ideas formed from the present view of things, is certain and inevitable ruin. For, if I was called upon to declare upon oath whether the militia have been most serviceable or hurtful, upon the whole, I should subscribe to the latter."
The defeat of the American army on Long Island, a heavy blow to the patriot cause, suggested a desperate remedy to the mind of Washington,—no[283] less a measure than the deliberate destruction of the great commercial city of New York. "Till of late", he writes to the President of Congress, "I had no doubt in my own mind of defending this place; nor should I have yet if the men would do their duty, but this I despair of.... If we should be obliged to abandon the town, ought it to stand as winter-quarters for the enemy? They would derive great conveniences from it on the one hand, and much property would be destroyed on the other.... At present I dare say the enemy mean to preserve it if they can. If Congress, therefore, should resolve upon the destruction of it, the resolution should be a profound secret, as the knowledge of it will make a capital change in their plans." General Greene, John Jay, and many others of note were of the same opinion. Congress decided otherwise, and Howe forbore to bombard it from Brooklyn Heights and Governor's Island, both belligerents deeming its possession of far greater service to either than its destruction.
As New York was not to be destroyed, it became a serious question how a city swarming with Tories was to be defended with less than twenty thousand militia against a powerful army. Washington, Greene, Putnam, and others were opposed to the attempt, but were overruled by a council of war. The question was finally left by Congress to the commander-in-chief, who, deeming the city untenable, made preparations, September 10th, for its speedy evacuation, which was concurred in, two days later, by a new council of war. This determination was timely, as the Americans were about to be driven out.
Howe, anticipating Washington's design, determined to prevent the execution of it by the same manœuvre he had tried so successfully on Long Island,—that was to threaten the city's front and right flank by the fleet, while his army, assembled about the present site of Astoria, should cross the East River, turn Washington's left flank, cut off his communications with the mainland, oblige him to fight on the enemy's terms, and force him to surrender at discretion, or by a brilliant stroke break the American army in pieces, and secure their arms and stores.
On the evening of September 14th Howe began his crossing of the East River by taking possession of Montressor (Randall's) Island, and the next morning he sent three ships up the Hudson as high as Bloomingdale, which stopped any further evacuation of the city by water. Soon after, under the fire of ten vessels-of-war, the main British force, under Sir Henry Clinton, embarked upon flatboats, barges, and galleys, at the mouth of Newtown Creek, and by the favoring tide was carried to Kip's Bay (34th Street), where they disembarked and quickly put to rout the panic-stricken American militia, and pursued the fugitives in disorderly flight over the fields to Murray Hill.
So soon as Washington heard the enemy's cannonade he rode with all speed to the front, and used every exertion to rally the runaways; but his efforts, though seconded by the officers in immediate command, were utterly futile. Mortified and in despair at such poltroonery, the commander-in-chief[284] almost lost control of himself, and, says General Greene, "sought death rather than life" at the hands of the enemy.
Unopposed, the British marched to the Incleberg on Murray Hill and encamped, while the Americans retreated to Harlem Heights. Putnam, at the sacrifice of baggage and stores, and of most of his heavy artillery, by taking the river road, barely escaped with the troops remaining in the city. Howe was in close pursuit of this rear-guard of about four thousand men, but unexpectedly stopped for nearly two hours at the residence of Mrs. Murray[721] to enjoy her old Madeira, so that, in the language of the times, "Mrs. Murray saved the American army."
WASHINGTON'S HEADQUARTERS AT HARLEM
(Sept., 1776)
This was the house of Col. Roger Morris, and at a later day the residence of Madam Jumel. It follows a drawing in Valentine's N. Y. City Manual, 1854, p. 362. Cf. Lossing's Field-Book, ii. 816; Gay's Pop. Hist. U. S., iii. 505; and for a view of the hall, Harper's Magazine, lii. 640. Its position was east of Tenth Avenue, near One Hundred and Sixtieth Street.—Ed.
The British, on September 15, 1776, took possession of New York with a large detachment under General Robertson; while Howe with the main body of the army encamped on the outskirts of the city. The northern line of their camp extended from Horen's Hook on the East River to Bloomingdale on the Hudson, which line was fortified with field-works and protected on the flanks by vessels-of-war. Behind this line lay their disciplined army of twenty-five thousand British and Germans.
Washington took position in their front, and for the protection of his army of about fourteen thousand fit for duty he fortified Harlem Heights with a triple line of intrenchments extending across Manhattan Island. Immediately after securing his position, Washington, to arouse some military[285] ardor in his discomfited militia, formed the design of cutting off some of the enemy's light troops, who, encouraged by their recent successes, had advanced to the extremity of the high ground opposite to the American camp. To effect this object, Colonel Knowlton, of Bunker Hill fame, and Major Leitch were detached with parties of rangers and riflemen to get in their rear, while Washington diverted their attention by a feigned direct attack. By some mistake, the fire was begun on the front instead of upon their flank and rear, by which the enemy, though defeated, secured their escape to their main body. This successful skirmish, called the battle of Harlem Plains, was purchased by the loss of the brave Knowlton and Leitch, both of whom were mortally wounded.
The British rejoicings upon the occupation of their snug winter-quarters in New York were suddenly interrupted, early on the morning of September 21st, by the breaking out of flames from a low groggery near Whitehall Slip, which, for want of proper fire apparatus to check them, spread rapidly over one fourth of the city, consuming five hundred buildings, including the Lutheran and Trinity churches. Whether this was the work of incendiaries is not positively known. Congress and the city's inhabitants had strenuously opposed such an act, though it was strongly recommended as a military necessity by Washington and by others of high rank and position.
While Howe "continued at gaze" awaiting coming events, Washington continued to strengthen his position on Harlem Heights, and established alarm posts on the east side of Harlem River as far as Throg's Neck on the Sound, to insure surveillance of the whole field of operations.
The Harlem lines being too strong for a front attack, Howe, after leaving a sufficient force under Lord Percy to watch them and guard the city, embarked, October 12th, his main army on ninety flatboats, to execute by his favorite manœuvre the turning of these obstacles and of Washington's left flank. His object was to cut off Washington's retreat and shut him up on Manhattan Island, the only exit from which was by Kingsbridge. Adverse winds so delayed the British general that he only passed Hell Gate on the afternoon of the 14th, and the fleet did not reach Throg's Neck till nightfall. Here Howe had previously landed his advance-guard, but Washington had anticipated him by occupying, on the 12th, the passes leading to the mainland.
The enemy's design being now fully developed, it was decided in a council of war, held in the American camp on the 16th, to leave Harlem Heights, no longer tenable, and to evacuate the whole of Manhattan Island except Fort Washington, which General Greene deemed impregnable and of great value for future operations. Accordingly, the American army formed a series of intrenched camps on the hills skirting the right bank of the swollen Bronx, and extending thirteen miles, from Fordham Heights to White Plains, and protected from the enemy by the river in front.
After waiting five days for supplies, Howe, on the 18th, left Throg's Neck, debarked again on Pell's Point, and on the march northward encountered[286] Glover's brigade well posted behind stone fences. After a hot skirmish Glover slowly fell back, while the enemy advanced to the heights of New Rochelle. Here the British encamped till the 22d, when they were joined by the second division of Hessians under General Knyphausen. This delay gave Washington ample time to strengthen himself at White Plains, where he held a strong and important strategic position commanding the roads leading up the Hudson and to New England.
On the morning of the 28th of October the opposing armies, each about thirteen thousand strong, confronted each other. Washington's intrenchments, partly a double line, occupied the hilly ground within the village of White Plains, the left resting upon a mill-pond and the right on a bend of the Bronx, which protected its flank and rear. Across the Bronx rose Chatterton's Hill, presenting a steep rocky front to the enemy, but it was not fortified.
Howe, believing he was now to fight the decisive battle of the war, moved up in two heavy columns, Clinton commanding the one on the right and De Heister that on the left. They seemed at first as if intending to attack in front; but they soon filed off to the left, extending their line to the front of Chatterton's Hill. Here the main body halted, while a column four thousand strong proceeded to cross the Bronx and storm the hill under cover of the fire of twenty pieces of artillery. General McDougall with fifteen hundred Continentals and militia, and Captain Alexander Hamilton with two pieces of artillery, immediately arrayed themselves on the rocky brow of the hill for its defence. As the main British body, under General Leslie, clambered up the steep acclivity it was met by a withering fire from the infantry and artillery, from which it recoiled and sought shelter. A second assault up the slope met with an equally determined resistance, and for some time the enemy was held in check. Rahl, with two regiments that had forded the Bronx a quarter of a mile below, now appeared on the American right, and drove the militia from their post. This break compelled McDougall, exposed to a heavy fire in front and flank, to retreat across the Bronx to White Plains, though with his six hundred Continentals he maintained an obstinate conflict for an hour, and carried off all his wounded and artillery. The American loss in the engagement was 30 prisoners and 130 killed and wounded, while their opponents' losses were 231.
Howe contemplated an assault, the next morning, upon the American camp, but was deterred by the apparent strength of the lines. These had been built hastily, as General Heath says, of corn-stalks, the tops being turned inwards, and the roots with the adhering earth outwards. The British army, strongly reinforced by the arrival of Lord Percy on the 30th, designed attacking the American works on the following day, but a storm delayed their operations, and gave Washington time to withdraw his forces to the heights of New Castle, where he erected strong defences. In the meanwhile Knyphausen had been ordered to move from New Rochelle to Kingsbridge, where he encamped on November 2d, the Americans retiring[287] to Fort Washington on his approach. Howe in person suddenly left White Plains on the night of the 5th for Dobbs's Ferry, to which his army was already moving. "The design of this manœuvre", wrote Washington on the 6th to the President of Congress, "is a matter of much conjecture and speculation, and cannot be accounted for with any degree of certainty." A council of war which met that day evidently inferred that it threatened a movement across or up the Hudson, for it was unanimously agreed immediately to throw a body of troops into New Jersey, and station three thousand at Peekskill to guard the Highlands. Howe really contemplated a far different move—the capture of Fort Washington.
Why Sir William did not again attack Washington, and why he changed his whole plan, is now well understood to be due to the treason of William Demont, the adjutant of Colonel Magaw, in command of Fort Washington. This man, on the 2d of November, undiscovered, passed into the British camp, and placed in the hands of Lord Percy complete plans of the defences of Mount Washington and a statement of their armament and garrisons. This detailed information was immediately sent, with its author, to Howe, and must have reached him a day or two before his sudden departure from White Plains. The conclusive evidence of this treason is furnished by the culprit himself in his letter,[722] dated London, January 16, 1792, to the Rev. Dr. Peters, of the Church of England, which was first published by Mr. E. F. DeLancey, in the Magazine of American History (Feb., 1877).
Fort Washington, built by Colonel Rufus Putnam soon after the evacuation of Boston, occupied the highest ground at the northern end of Manhattan Island. It was a pentagonal bastioned earthwork without a keep, having a feeble profile and scarcely any ditch. In its vicinity were batteries, redoubts, and intrenched lines. These various field fortifications, of which Fort Washington may be considered the citadel, extended north and south over two and a half miles, and had a circuit of six miles. The three intrenched lines of Harlem Heights, crossing the island, were to the south; Laurel Hill, with Fort George at its northern extremity, lay to the east; upon the River Ridge, near Tubby Hook, was Fort Tryon, and close to Spuyten Duyvel Creek were some slight works known as "Cork Hill Fort;" and across the creek, on Tetard's Hill, was Fort Independence. The main communication with these various works was the old Albany road, crossing Harlem River at Kingsbridge. This road was obstructed by three lines of abatis, extending from Laurel Hill to the River Ridge.
Fort Washington mounted not more than eighteen guns en barbette, of various calibres, from nines to thirty-twos. The garrison of all the various[288] works was less than 3,000 men, mostly Pennsylvanians, who were commanded by Colonel Magaw, an officer of but little military experience. The ground about the fort was well suited for defence, and the works not only protected the upper part of Manhattan Island, but in conjunction with Fort Lee, on the palisades opposite, commanded the Hudson. However, from their too elevated positions and distance from each other, these two works, on the opposite sides of the river, with their feeble armament, proved insufficient, even with a partially constructed barrier of sunken hulks, to prevent the passage of the British vessels-of-war.
As these forts did not close the river, Washington did not deem it expedient to weaken his force, which was necessary to him for field operations, by leaving a large garrison on an island essentially in the hands of the enemy. To the opinion of General Greene, in general command of these works, and in deference to the expressed wishes of Congress to hold them at any cost, Washington yielded his better judgment. His modesty and sense of imperfect knowledge of the science and practice of war led him, as it did on several occasions, to defer too much to others, and though he did not think it "prudent to hazard the men and stores at Mount Washington", he left it discretionary with Greene to give the necessary orders for its evacuation.
Howe, November 15th, demanded the surrender of Fort Washington, stating that, if he were compelled to take it by assault, the garrison would be put to the sword. Magaw replied that to propose such an alternative was unworthy of a British officer, and that, for himself, he should defend the fort to the last extremity.
On the 15th Washington started across the river from Fort Lee, to which he had come, to determine the condition of the garrison at Fort Washington. He says, "I had partly crossed the North River when I met General Putnam and General Greene, who were just returning from thence, and they informed me that the troops were in high spirits and would make a good defence, and, it being late at night, I returned."
Magaw, awaiting the enemy's attack, made a judicious disposition of his forces to defend Fort Washington and the various intrenchments in its vicinity. Colonel Rawlings took command of Fort Tryon and the northern end of the River Ridge, with an outpost at Cork Hill Fort; Colonel Baxter held Fort George and the summit of Laurel Hill; Colonel Cadwallader occupied the Harlem Lines; while Magaw, at his central position of Fort Washington, directed the whole.
Howe's attack upon Fort Washington was skilfully planned and admirably executed. A vessel-of-war, the "Pearl", took up a position in the Hudson to protect the contemplated movement of the Hessian troops and enfilade the northern outworks of Fort Washington; while thirty flatboats were in the Harlem River for ferrying troops,—these boats having eluded the vigilance of the American sentries on the night of the 14th, when passing up the Hudson and through Spuyten Duyvel Creek.
On the morning of the 16th, under a furious cannonade from the heights on the east bank of the Harlem, three distinct assaults were ordered to be made upon the American defences, besides a fourth movement, which, though designed as a feint, became a real attack at the critical moment. The first British column, under General Knyphausen, moved down from Kingsbridge, and with him were Rahl's Germans marching close to the Hudson; the second, under General Matthews, supported by Lord Cornwallis, crossed the Harlem and moved upon Fort George and the northern end of Laurel Hill; the third, or feint, under Lieut.-Col. Stirling, floated down the Harlem to threaten the southerly part of Laurel Hill; while the fourth, of British and Hessians, led by Earl Percy and accompanied by Howe, moved from Harlem Plain upon the triple lines of Harlem Heights.
The latter column, advancing from the south, began the attack upon the outer or southernmost American line, where Cadwallader, unable to check Lord Percy's superior forces, fell back to his stronger middle line. Howe then ordered Stirling to land from the Harlem and clamber up the steep slope of Laurel Hill to threaten the rear of Cadwallader. The latter sent a detachment, as did also Colonel Magaw, to oppose Stirling's landing, without avail. Matthews at the same time debarked his column and attacked the Americans on Laurel Hill, where Baxter was killed. The united forces of Matthews and Stirling overcame all opposition and took 170 prisoners. Baxter's force was compelled, as was also Cadwallader, when pressed by Percy, to seek refuge in Fort Washington. About noon the Hessian column from the north was in motion. Rahl soon scattered the small guard in Cork Hill Fort and advanced upon Fort Tryon, crowding Rawlings by superior force nearly back to Fort Washington, when, being joined by Knyphausen, who had made his way over wooded and difficult ground and across abatis, the reunited German columns bore down all opposition. The Americans at this point also, after a spirited resistance, were compelled to take refuge in Fort Washington, which, now overcrowded and exposed to the deadly concentric fire of the enemy, left Magaw no alternative but surrender. He asked for a parley of four hours, but he was allowed only half an hour. In the end he capitulated, upon honorable terms, to General Knyphausen, to whom the glory of the day belonged. Magaw had received a promise from Washington to attempt to bring off the troops if he would hold out till night, which Magaw deemed impossible, with troops huddled together and exposed to destruction from the enemy's near circle of fire. This capture cost the enemy nearly 500 men in killed and wounded. The American loss was 150 killed and wounded, 2,634 taken prisoners (including many of their best troops), 43 pieces of artillery of from three to thirty-two pounds calibre, a large number of small arms, and much ammunition and stores. The whole of Manhattan Island thus passed into British hands.
Immediately after the capture of Fort Washington, Sir William Howe crossed with his army into New Jersey, it being too late for any coöperation with the Northern army under General Carleton, who had already retreated from Crown Point into Canada.[723]
This New York campaign had been most disastrous to the American cause; yet it was far from a brilliant success for the Anglo-Hessian arms. Washington, with troops inferior in numbers, arms, organization, discipline, and experience, had outgeneralled Howe, with a superior veteran army, whenever he acted upon his own good judgment and did not yield his convictions to his subordinates, to whom most of the errors of the campaign were due.
It is doubtful whether there was any necessity whatever for the British to fight the battle of Long Island, as their fleet might have occupied the East River, as it subsequently did, and thus have caged the part of Washington's army which was on Long Island. It is true that the American batteries on Brooklyn Heights and Governor's Island might have done the fleet much damage; but if it was too dangerous to run the gauntlet of the Buttermilk Channel, four fathoms deep, it would have been an easy matter to sail around the eastern end of Long Island, and safely enter the East River from that direction.
Had the East River been occupied by the British fleet, it could, while cutting off half of our army from the defence of New York, at the same time have threatened the city front pending the transportation of the British army by water to points above the city from whence to turn either or both flanks of Manhattan Island. Washington, thus shut up, would have been compelled to fight at great disadvantage, and possibly surrender at discretion.
Even admitting that the battle of Long Island was necessary, Howe, in dividing his army into three masses, stretching over a line of more than ten miles, ran great risk of being beaten in detail had all of the American forces on the island been concentrated at a central position, ready to be thrown successively upon his isolated columns. It is true the undisciplined American forces might not have been able to cope in the open field with British and German regulars; but Howe had no right to presume their inferiority after his own experience of their good conduct at Bunker Hill and Clinton's trial at Sullivan's Island.
The American general also committed a great military blunder in leaving with raw troops the shelter of the Brooklyn intrenchments for the precarious protection of the Long Island Ridge, several important passes in which were left entirely unguarded, though Washington had ordered their careful observation.
After the retreat of the American army to New York, Howe wasted two precious weeks, during which Washington had time to organize his defence;[291] and when the British general crossed the East River, he committed a great mistake in debarking at Kip's Bay,—a halfway measure which involved a long land march to his objective, White Plains. Washington, with great vigor, seized his advantage, and, by availing himself of his shorter interior line, arrived first at the coveted position and fortified it. Had Howe moved to this point by water immediately after the battle of Long Island, he undoubtedly would have succeeded in turning Washington's left flank, and would thus have cut off his retreat. The British general's delay of two months after the battle of Long Island in moving less than thirty miles to reach White Plains was inexcusable. In a shorter period Moltke began and ended the campaign of 1866, which so humbled the great power of the Austrian empire.
When Howe decided to attack the American army at White Plains he should have thrown his entire force upon Washington's centre, and thus have won a decisive victory with his superior troops; whereas he used less than one third of his army in driving Washington's right wing from Chatterton's Hill upon his main body, which then successfully retreated before the tardy and inert British general.
Howe's good fortune in capturing Fort Washington was due more to the treason of Magaw's adjutant and to Washington's yielding to bad advice, than to any skill of the British commander.[724]
With the invasion of New Jersey by the Anglo-Hessian army all military operations at the mouth of the Hudson were terminated. The struggle for the control of this great river was to be transferred to its upper waters, and it was expected that the coming campaign would be so conducted as soon to force the whole power of the colonies into silence and submission.
General Gates, who was appointed the successor of Sullivan in the command of the army of Canada, was, says Horace Walpole, "the son of a housekeeper of the second Duke of Leeds." He had neither brilliant qualities nor military genius, but possessed the vanity and ambition to covet the highest position, for the attainment of which he resorted to disgraceful intrigue. When assigned to this command, in June, 1776, the army of Canada was flying to Crown Point; so, like Sancho Panza, Gates found himself a governor without a government; but, nothing abashed, he at once claimed the command of the Northern department, then under Schuyler. Congress sustained the latter, whereupon Gates took post at Ticonderoga, where the remnant of the American army had retired upon the abandonment of Crown Point, and promptly adopted vigorous measures to put the work in good condition for defence and to reinforce its garrison against any forward movement of General Carleton.
To secure control of Lake Champlain, a squadron of small vessels was ordered to be constructed at its head (Skenesborough), which, to the number of nine, mounting in all fifty-five guns, were completed by the middle of August. Arnold, in command of these and some additional galleys from Ticonderoga, moved down to the foot of the lake, and anchored his vessels across it to bar the passage of the enemy.
From Political Magazine (1780), i. 743, with a memoir of Burgoyne. There are modern engravings of this likeness in Moore's Diary of the Amer. Rev., i. p. 513; and in Lossing's Field Book, i. 37.—Ed.
Carleton, as active as his adversary, had built at St. Johns a flotilla of "thirty fighting vessels." When Arnold discovered the superiority of the enemy's fleet in vessels and guns to be more than double his own, and that they were manned by picked British sailors, he fell back and formed line of battle between Valcour's Island and the western shore of the lake. In this disadvantageous position he was attacked, October 11th, by Captain Pringle, of the British navy, with thirty-eight vessels and boats, mounting 123 guns. Though the crews of Arnold's flotilla were landsmen, he maintained a desperate fight from eleven in the forenoon until dark, when, availing himself of the obscurity of a thick fog, he escaped with part of his vessels, unobserved, through the enemy's fleet; but, owing to adverse winds[293] and his crippled condition, he was overtaken on the 13th off Split Rock, where he was again attacked. Some of his flotilla escaped and some were captured, but he himself, after fighting four hours, ran his remaining vessels ashore, set them on fire with their flags flying, and escaped with their crews through the forests to Ticonderoga. General Carleton now advanced to Crown Point, of which he took possession October 14th, and pushed a reconnoissance to within sight of Ticonderoga. When Carleton's boats appeared, Gates made an effective display of his garrison, whereupon the British general fell back to Crown Point, which he evacuated, and, it being too late for further active operations, he retired to Canada.
BURGOYNE.
From Andrews's Hist. of the War, London, 1785, vol. iii. Fonblanque gives a likeness painted by Ramsay at Rome in 1750, and this is repeated in Gay's Pop. Hist. U. S., iii. 567. Reynolds painted him in 1766 (Fonblanque, p. 86). J. C. Smith (Brit. Mez. Portraits, ii. 710) records a picture by Pine. Cf. Jones's Campaign for the Conquest of Canada, p. 194, and the illus. ed. of Irving's Washington, iii.—Ed.
The enemy had scarcely departed when Schuyler applied himself with tireless assiduity to prepare against a new invasion during that winter or in the coming year. He continually pressed upon Congress and Washington the wants of his department in men and munitions of war. In every way he tried to conciliate the Indian tribes; and he lost no opportunity of gaining information of the enemy's designs and movements.
Burgoyne, after the battle of Bunker Hill, had suggested to Lord Rochefort, Secretary of State for the colonies, that, as there was "no probable prospect of bringing the war to a speedy conclusion with any force that Great Britain and Ireland could supply", there should be employed "a large army of such foreign troops as might be hired, to begin their operations up the Hudson River; another army, composed partly of old disciplined troops and partly of Canadians, to act from Canada; a large levy of[294] Indians and a supply of arms for the blacks, to awe the Southern provinces, conjointly with detachments of regulars; and a numerous fleet to sweep the whole coast,—might possibly do the business in one campaign."
The importance of securing the control of the Hudson, thereby to separate the New England from the Middle and Southern States, was eminently correct; but the proposed mode of accomplishing it was, as the sequel proved, entirely wrong.
Burgoyne, like many other Englishmen, had held American prowess in contempt, and ridiculed the enrolment of provincials as "a preposterous parade of military arrangement." His later experience probably changed his views, for when he had supplanted that noble soldier Sir Guy Carleton in the command of the British army in Canada, through "family support" more than from "military merit", he took good care to secure a strong and veteran force, commanded by officers of noted skill and long experience.
Burgoyne's army, which took the field in July, 1777, had a total, rank and file, of 7,902, of which 4,135 were British, 3,116 Germans, 148 Canadian militia, and 503 Indians. The artillery corps and train were of the most serviceable character, "probably the finest and most excellently supplied as to officers and private men that had ever been allotted to second the operations of any army."
The commander-in-chief was a polished gentleman, a popular dramatist, an effective speaker, a useful member of Parliament, and a gallant officer who had won laurels in Portugal; Major-General Phillips, the second in command, was a distinguished artillerist who had earned a high reputation in Germany; Major-General Riedesel had been selected because of his long experience, especially in the Seven Years' War; Brigadier-General Fraser, who commanded the light brigade, was a knightly soldier, ambitious of glory, who had seen much service in America; Hamilton and Powel, who commanded brigades, had been twenty years on active duty; Lord Balcarras and Major Acland, commanding respectively the light infantry and grenadiers, were soldiers of high professional attainments; La Corne St. Luc, the commander of the Indians, had been an active partisan of the French in Canada wars, and "was notorious for brutal inhumanity;" and the many staff and regimental officers were already men of mark, or subsequently rose to high positions.
With such a thoroughly disciplined and well-appointed army, Burgoyne fondly anticipated making a triumphal march of two hundred miles to Albany, there to meet St. Leger descending the Mohawk, and Howe ascending the Hudson, and thus by combined movements to dismember the thirteen United States. This march of the Northern army seemed not arduous, as most of Burgoyne's way was by water through the Sorel, Lake Champlain, and the upper Hudson; but he had taken little account of the extraordinary physical difficulties he was doomed to encounter, and the hostility of the inhabitants along much of his route.
LORD GEORGE GERMAIN.
From Murray's Impartial Hist. of the present War, i. 190.—Ed.
Another embarrassment greatly marred the British plans. Lord George Germain, the Secretary of State for the colonies, had given Burgoyne positive orders for his march to Albany, from which he was not to deviate; while Howe was left, through a piece of criminal negligence,[725] without any imperative instructions to coöperate with the army in Canada; besides which, it was almost impossible to arrange any concerted action between forces separated by four hundred miles of hostile country.
Burgoyne, however, like a true soldier, determined to obey orders, though it might break empires. Consequently, on June 13th, at St. Johns, the standard of England was hoisted on board the "Radeau", and saluted by all the rest of the shipping and forts, thus announcing the beginning of this eventful and important campaign.
On the 20th, Burgoyne issued, with seeming royal prerogative, a bombastic proclamation, commending the justice and clemency of the king, who had directed "that Indians be employed;" denouncing the obstinacy of Americans as "wilful outcasts;" threatening the terrors of savage warfare of the "thousands of Indians" under his command, "to overtake the hardened enemies of Great Britain;" and, "in consciousness of Christianity and the honor of soldiership", warned all of his opposers that "the messengers of justice and wrath await them on the field, and devastation, famine, and every concomitant horror that a reluctant but indispensable prosecution of military duty must occasion."[726]
Burgoyne, after delivering himself of this pronunciamiento of loving-kindness towards his American erring brothers, and setting forth the sweet humanity of his dusky allies, who "had sharpened their affections upon their hatchets", proceeded up Lake Champlain, pioneered by these children of the forest in their birch canoes, the fleet and army following, with music and banners, as if engaged in a splendid regatta.
While Burgoyne with the main army was moving south, Lieutenant-Colonel St. Leger, in conformity with instructions from the British cabinet, with a detachment of about 1,000 men (English regulars, provincials, and Indians), was rapidly advancing west to Fort Stanwix, by the St. Lawrence and Lakes Ontario and Oneida. After reducing this post and subjugating the patriots of the Mohawk valley, he was ordered to join his chief at or near Albany.
Burgoyne's formidable invading force of 7,863 men, with 42 pieces of artillery, which reached Crown Point June 27th, advanced thence, July 1st, in battle array: the right wing of British troops under General Phillips, upon Fort Ticonderoga on the west bank of the lake; the left wing of Germans under General Riedesel, upon Fort Independence on the east bank; and the floating batteries in line across the lake. Burgoyne had announced in orders: "This army must not retreat."
General Schuyler had recently visited Forts Ticonderoga and Independence, where, instead of a garrison of 5,000 men, he found only 2,546 half-armed and poorly provided Continental troops and 900 raw militia, "many of them mere boys, and one third of the whole force unfit for duty." He noted, with serious forebodings, the unfitness of the works to resist attack, a state to which lack of workmen and the neglect of Gates had brought them. The reduction of this stronghold was indispensable to Burgoyne's progress, not only as insuring his communications with Canada, but because of the danger of leaving such a force in his rear.
In an endeavor to strengthen these fortifications, of which General St. Clair had recently taken command, the works had been too much extended, and the key-points—Mount Hope, commanding Fort Ticonderoga, and Mount Defiance, a supposed inaccessible eminence at the confluence of the waters of Lakes George and Champlain—had not been occupied; consequently, they were seized by the British and artillery was planted upon them.
St. Clair, no favorite of fortune, finding himself nearly invested on the 5th, and exposed to a plunging fire from these heights, which he could not return, wisely determined to evacuate all his works that night, under pretence of making a sortie. As soon as it was dark enough, the women and wounded, together with some ammunition and stores, were placed upon 200 bateaux, which were to be escorted to Skenesborough by five armed galleys and a guard of 600 men, all under the command of Colonel Long. In thus abandoning Ticonderoga, St. Clair justified himself, saying that "we had lost a post, but saved a province."
St. Clair, leaving his heavy artillery and many supplies behind, with[297] the garrison of Fort Ticonderoga passed undisturbed, at midnight, over the floating bridge across the lake. On the southern side the troops from Fort Independence joined him, and all were safely escaping, when, without orders, General De Fermois's headquarters were fired, the blaze of which disclosed the retreat to the enemy. The alarm was at once given, and the deserted forts were seized by the British. General Fraser was in pursuit at daylight of the 6th, followed soon after by General Riedesel with the German grenadiers.
ARTHUR ST. CLAIR.
From a photograph of a miniature furnished by Mr. F. D. Stone. It was painted near the close of the war. Daniel Goodwin, Jr., Provincial Pictures, p. 72, says there is another miniature on ivory, owned by Miss Mary R. Sheets, of Indianapolis.
A likeness by C. W. Peale hangs in Independence Hall in Philadelphia. It was drawn by J. B. Longacre, and engraved by E. Wellmore. It represents him at the time he was governor of the Northwest Territory. Cf. St. Clair Papers; Goodwin's Provincial Pictures, p.72. There is also a pencil sketch by John Trumbull given in the St. Clair Papers, and in the illustrated edition of Irving's Washington. Cf. 2 Penna. Archives, vol. x.; Lossing's Field-Book, i. 132. A view of his home is given in Egle's Pennsylvania, p. 1156.—Ed.
Meanwhile, Burgoyne and Phillips, in the fleet, broke through the boom and bridge across the lake, in chase of Colonel Long and the American flotilla, which, on the afternoon of the 7th, was overtaken and attacked at the wharves of Skenesborough. Two of the covering galleys struck their colors, and the others were blown up by their crews. The bateaux, mills, and stockade there were promptly burned, and then the detachment fled to Fort Anne, eleven miles below. Early the next morning Long sallied out and had a sharp encounter with his pursuers under Colonel Hill; but when victory was almost within his grasp, the enemy was reinforced by a number of savages sent forward by Burgoyne, who had remained at Skenesborough. Colonel Long, after burning Fort Anne, retreated sixteen miles to Fort Edward, where he met Schuyler on his way to Ticonderoga with a small reinforcement.
St. Clair, with the main body, was even less fortunate. He retreated through the wilderness to Castleton, his rear-guard of 1,200 men, under Colonel Warner, stopping over night at Hubbardton, where on the morning[298] of the 8th it was attacked by Fraser with an inferior force. After a spirited engagement Hale's militia regiment abandoned the field, and the enemy was reinforced by the arrival of Riedesel's Brunswickers, which latter turned the American right flank and compelled their retreat to Rutland, the rendezvous appointed by St. Clair in the event of disaster. From here the remnant of St. Clair's forces, by a circuitous march of more than a hundred miles, on the 12th reached Fort Edward, where Schuyler, on the 20th, could muster only 4,467 men fit for duty. This little army was deficient in almost every requisite for battle, while Burgoyne, flushed with victory, lay within a day's forced march with his veteran army of nearly double the American force.
Schuyler was charged by Congress with "neglect of duty" in not ordering a timely retreat of the garrison from Ticonderoga, if untenable; and, if to be defended, not to have been present at the attack upon it. The court-martial, of thirteen distinguished officers, unanimously acquitted him "with the highest honor."[727]
These reverses, which closed the first act of the drama of varied events in this checkered campaign, seemed to open the way to Burgoyne's triumph, and they spread universal alarm among the patriots, who had considered Ticonderoga the closed gate to northern invasion. These disasters, however, were blessings in disguise, despite the desertion of the militia. Washington predicted ultimate success, and Schuyler was roused to great efforts to oppose the enemy's advance. Wood Creek was at once obstructed with logs and huge stones; all roads were broken up and their bridges destroyed; dry land was converted into morass, trees were felled in every direction, and the whole of this wild and savage country was stripped of cattle and supplies, for which the enemy had consequently to depend upon Canada and remoter England.
Having provided this barrier against the enemy, Schuyler, who had been joined by Arnold, fell back to Fort Miller with his artillery (brought from Fort George), where he tarried till he had ruined the road over which he passed, and thence proceeded to Stillwater to await reinforcements, making that his fortified headquarters, while his little army occupied a camp, which was intrenched on Van Schaick's Island, near the mouth of the Mohawk.
Burgoyne was so elated by his successes that he dispatched his aide-de-camp Captain Gardner to England, "with news so important to the king's service, and so honorable to the troops under his command." But while the British colors were flying over Ticonderoga, he little dreamed of the difficulties and reverses which were awaiting him. To provide garrisons for these works in his rear, to which he had sent all his surplus artillery and baggage, he was compelled "to drain the life-blood of his army", since Carleton had declined to supply the necessary troops for their defence, on the ground that his jurisdiction as governor did not extend beyond the bounds of Canada.
Burgoyne availed himself of the water transportation of Lake George for most of his artillery and stores; but, for the march of his army from Skenesborough, a trackless wilderness confronted him, through which he had to remove countless obstacles, cut a new pathway, and build no less than forty bridges, one of which, over a swamp, was two miles long. Wood Creek had also to be opened for his bateaux. In these laborious undertakings his army was exhausted with overwork, and suffered terribly with midsummer heat and innumerable insects. Consequently, with his utmost efforts, he did not reach Fort Edward till July 30th, or twenty-four days after leaving Lake Champlain, a distance of only twenty-six miles. Burgoyne remained at Fort Edward till August 15th, awaiting the transportation across the portage from Lake George of the necessary artillery, ammunition, provisions, and bateaux for his descent of the Hudson.
During this enforced delay important events were occurring elsewhere, on the Mohawk and near Bennington. General Lincoln at the same time was recruiting troops in New England, with which to attempt the recapture of Ticonderoga and cut off the British retreat to Canada.
Fort Stanwix, or Fort Schuyler as it was subsequently called, on the head-waters of the Mohawk, near the present Rome, N. Y., was built in 1758, and in April, 1777, was put under command of Colonel Gansevoort, who, with Colonel Marinus Willet, placed it in a better condition of defence. The garrison of the work was 750 Continental troops, before which St. Leger, accompanied by the loyalist Sir John Johnson, and Joseph Brant the great Mohawk chief, appeared, August 2, and the next day summoned it to surrender. Gansevoort paying no attention to this, the British colonel prepared for a regular siege, and sent out detachments to cut off all succor.
The inhabitants of Tryon County were panic-stricken, but the aged General Herkimer by great efforts collected 800 militia and marched to Oriskany, within eight miles of the fort, to which he sent a messenger with a request that upon the messenger's arrival three guns should be fired and a sortie made to facilitate the advance of the succoring party through the besiegers. The signal was delayed, and, unfortunately, Herkimer's better judgment was overruled by his younger officers, who were impatient of delay. This led to his moving forward and to his being ambushed in a valley,[300] the head of which was held by loyalists, while Indian allies under Brant occupied the sides. Here a desperate hand-to-hand fight of five hours ensued, early in which the brave Herkimer was mortally wounded; but seated upon his saddle, and propped against a tree, he calmly continued to give his orders and animate his men with his own heroism till the end of the battle.
At length the long-expected signal guns were heard, when Colonel Willet with 250 men made a sudden dash upon a weak part of the besiegers' camp. Though he failed to reach Herkimer, he destroyed two sections of the enemy's intrenchments, and captured the British camp equipage, Sir John Johnson's papers, five flags, and some prisoners.
The Indians, who had lost many of their braves at Oriskany, hearing the sound of Willet's musketry in their rear, quickly retreated, and were soon followed by the loyalists, leaving Herkimer in possession of the field. St. Leger still continued the siege of the fort, where now floated for the first time the American flag, just adopted by Congress, made of alternate stripes of a soldier's white shirt and a camp-woman's red petticoat, the field being cut out of an old blue overcoat. Beneath this were hung the five captured British standards.
St. Leger on the 7th again demanded the surrender of the fort, threatening Indian vengeance, and falsely stating that Burgoyne was in possession of Albany. Gansevoort returned an indignant refusal to this disgraceful threat. Soon came rumors of the approach of the intrepid Arnold to raise the siege. Statements sent forward of his numbers, purposely exaggerated, caused the flight of the panic-stricken Indians, and St. Leger, August 22, abandoned his trenches, some artillery and camp equipage, and fled to Canada. The right wing of the invaders being thus paralyzed, Arnold returned in triumph to join Schuyler.
Burgoyne's difficulties increased. His Indian allies were insubordinate, and the patriots swelled the American ranks. Finding that his scanty supplies had to be replenished from his distant base in Canada, or rather from England, he decided to make a raid upon Bennington, to secure horses, cattle, and provisions from the depot there. He hoped also that this move would strike terror among the unfriendly inhabitants of the New Hampshire Grants, who hung "like a gathering storm upon his left", and also would elevate the flagging spirits of his army, by a victory which he supposed would be easy. Accordingly, Lieutenant-Colonel Baum was dispatched with a select corps of 550 British, German, and loyalist troops and 150 Indians. Colonel Breyman, with 642 heavy dismounted Brunswick chasseurs, was sent on the 15th as a support. To oppose this expedition, General John Stark hastily collected 1,400 trained militia.
JOHN STARK.
After a silhouette given in Rev. Albert Tyler's Bennington, the battle, 1777; Centennial Celebration, 1877 (Worcester, 1878). This book is of some interest for its account of the ground and its landmarks, and relics of the battle. A view of Stark's monument is given in Potter's Manchester, N. H., p. 584; and an account of his homestead is in the Granite Monthly, v. 84. The usual portrait of Stark is that given in Caleb Stark's Memoir of Gen. John Stark (Concord, 1860), and in the illustrated ed. of Irving's Washington, ii. 437. Cf. N. E. Hist. Geneal. Reg., July, 1853, and the original ed. of the Stark Memoirs, for another likeness.—Ed.
Though constant skirmishing took place on the 15th, a pouring rain prevented a general engagement till the next day, when the determined Yankee leader declared he would beat the invader or "before night Molly Stark would be a widow." To fulfil his pledge he seized the initiative,[301] attacked the enemy on three sides, stormed their intrenchments on the Walloomscoick River and captured their guns, dispersed the Indians and loyalists, and went in hot pursuit of the Germans and British, when his exhausted forces were checked by Breyman's supporting detachment. Colonel Warner's excellent regiment, at once fresh and eager, arrived that afternoon and renewed the action, which was continued till dark, when Breyman, under the cover of night, made good his retreat. Baum was mortally wounded, 207 men were killed, 700 were captured, including the wounded; and 1,000 stand of small arms, all the enemy's artillery and most of their baggage fell into the hands of the Americans. Had there been another hour of daylight, none would have escaped. Stark's losses were 40 killed and 42 wounded.
This victory and the success in the Mohawk valley were as inspiriting to the American as depressing to the Anglo-German army. Burgoyne was now beset with danger on every side. Formidable obstacles accumulated in his path, famine stared him in the face; all his English flour and beef had been consumed, and the whole surrounding country was sending enthusiastic volunteers to bar his progress.
Nearly a month before, Washington had predicted that Burgoyne's successes "would precipitate his ruin", and that his "acting in detachments was the course of all others most favorable to the American cause", as cutting off any of them "would inspirit the people and do away with much of their present anxiety." The beginning of the end had already come.
The first stage in this eventful campaign was for Burgoyne a great success; the second was an equally great failure; and now the last was coming, in which the most decisive results and the highest plaudits were to be won or lost. Schuyler unquestionably would have been the hero of this final development had he not most inopportunely been replaced by Gates, a mediocre soldier. Fortunately, the latter's deficiencies were compensated by officers inferior in rank but superior in ability,—the dashing Arnold, the daring Morgan, not to name others.
HORATIO GATES.
From An Impartial Hist. of the War in Amer., London, 1780, p. 494. The engraving in the Boston edition, 1781, vol. ii., is by J. Norman. Smith (Brit. Mez. Portraits) records an engraving published in London, Jan. 2, 1778, which represents him holding a similar scroll, but "with right hand on hip."—Ed.
Congress, in the exercise of its prerogative, made and displaced generals at its will, and too often was influenced by sectional interests and rivalries. The command of the Northern Department was especially the prize of party favorites. Wooster, Thomas, Sullivan, Schuyler, and Gates[303] had in rapid succession followed each other, and now Schuyler, after all he had done to baffle the enemy and organize victory, was to be the victim of prejudice—of New England against New York—which dated back to colonial days. Schuyler placed little reliance upon New England troops, and their representatives in Congress had as little confidence in Schuyler's generalship.
From Murray's Impartial Hist. of the Present War, vol. ii. There is a portrait by Stuart, published in 1798 as engraved by Tiebout, given in steel (bust only) by H. B. Hall in Jones's Campaign for the Conquest of Canada (p. 140), and in photogravure (whole picture) in Mason's Stuart (p. 183). The expression in this last is wholly different from the steel engraving. There is also a picture in the Heads of Illustrious Americans, London, 1783. There are other likenesses,—cf. Gay's Pop. Hist. U. S., iii. 586; Lossing's Field-Book, ii. 669.
Gates after the war lived for a while on his estate in the Shenandoah valley (view of his house in Appleton's Journal, July 19, 1873, p. 69, and Mrs. Lamb's Homes of America), but finally removed to New York, and lived near what is now Second Avenue and Twenty-third Street. A view of the house occupied by him as headquarters at Saratoga is in Lossing's Hudson River, p. 94.—Ed.
Each misjudged the other; but the outcome of this feeling between Dutch and Puritan blood was unfortunate in superseding the soldierly Schuyler by the intriguing Gates. And it was a cruel reverse to the former, just as his skilful plans were culminating in the utter discomfiture of the enemy, and his successes at Stanwix and Bennington were bringing reinforcements from every quarter to his standard with which to take the offensive, that he should be shorn of the laurels which were about to crown him as the brilliant leader in this most important campaign of the Revolution. If Schuyler had been left in command, probably all the after-complications connected with Burgoyne's surrender would have been avoided.
The resolution of Congress superseding Schuyler reached him on the 10th of August. The noble patriot responded to this ungenerous censure by renewed efforts for his army till Gates's arrival on the 19th, and then he extended to his unworthy successor the courtesy of a true gentleman, for with him the country's welfare was paramount to all personal wrongs.
Gates, clothed with plenary powers and granted by Congress almost[304] everything denied to Schuyler, moved, after a delay of three weeks, with his army, 6,000 strong, from the mouth of the Mohawk to Bemis's Heights, a commanding position on the west bank of the Hudson, which was selected by Arnold and fortified by the engineer Kosciusko. The principal hill was occupied on three sides by extensive intrenchments and redoubts with an abatis. A line of breastworks on the east extended from the hill to the Hudson, to guard a floating bridge across the river and to sweep the plain in front; and on the west was a lower hill which was only partially fortified. The whole position was covered by a ravine in front, through which flowed a branch of Mill Creek.
Gates took personal command of the right wing of the army, occupying the intrenchments between the Hudson and the heights to the west; Learned held the centre; while Arnold had charge of the left wing, comprising Morgan's riflemen, some Continental troops, and a body of militia.
To coöperate in checking the advance of the enemy, General Lincoln with 2,000 militia was sent to threaten Burgoyne's communications. Colonel Brown with 500 of Lincoln's force, on September 18th, surprised the outposts and key-points of Ticonderoga, destroyed over two hundred bateaux and gunboats, captured 293 prisoners and 5 cannon, released 100 Americans, and brought away the Continental standard left flying over the fort when abandoned by St. Clair.
Burgoyne was greatly perplexed. To retreat was to acknowledge his weakness, and to advance was possibly to sacrifice his army and lose his coveted peerage. Under these circumstances he stood still, hoping his recent defeats would soon be forgotten, and he should be strengthened for the future.
Having finally received from Lake George his artillery, military stores, and thirty days' provisions, Burgoyne crossed to the west bank of the Hudson; September 13th-14th, he moved with his army to Saratoga; on the 15th-16th he tarried at Dovegot (near Coveville) to reconnoitre, repair bridges, and open roads over this rugged country; on the 17th he marched to Sword's Farm; on the 18th he advanced to Wilbur's Basin, within two miles of the American position, having constantly to skirmish with Arnold; and on the morning of the 19th he was engaged in reconnoitring and making preparations to attack Gates, if deemed expedient.
A table-land, intersected with ravines through which flowed Mill Creek and its branches, separated the two armies. Except a narrow cultivated strip, adjoining the Hudson, the ground was covered in great part by a dense forest. The river formed its eastern boundary, and on the north, west, and south sides were wooded heights, separated from each other by valleys.
While the Americans occupied the south heights, the Anglo-German army made ready to take possession of those on the north, and then to turn the western hills, thus to get in rear of the American left by a flank[305] movement of their right, while their centre attacked in front and was supported by their left.
About eleven o'clock on the morning of the 19th, Burgoyne's army advanced in three columns. He, in person, in command of the centre column, moved towards Freeman's Farm, opposite to the American left; Riedesel and Phillips with a large train of artillery, forming the left column, followed the river road, and, after the attack had begun, turned westward to support and prolong the line of battle of the deployed centre; while, by a circuitous march, Fraser, with Breyman's German riflemen, having his flanks covered by Canadians, loyalists, and Indians, moved with the right column, taking post westward of the centre, thus greatly overlapping the American left, which it was designed to turn and rout.
Gates, called by Burgoyne "an old midwife", impassively looked on, giving no orders and evincing no desire to fight, while the impatient Arnold, foreseeing the enemy's movement to turn his left, sent Morgan's riflemen and some of Dearborn's light infantry to check it. They rushed upon the enemy, and dispersed the Canadians and Indians; but following up their success too eagerly, they soon encountered the British line of battle, and were overpowered by superior numbers. This being reported to Gates, the Continental troops were sent to support Morgan, but the entire force proved insufficient to cope with and counteract Fraser's movement. Arnold, undismayed, then changed his direction, and fell suddenly upon the enemy's centre with a view of separating Burgoyne from Fraser. The battle was waged with great fury by both antagonists, and as each received reinforcements the conflict deepened, and, with varying success, became more and more stubborn. Burgoyne finally escaped defeat by the timely coming up of Riedesel with Pausch's artillery. After this death-struggle of four hours' duration, darkness terminated the contest. The Americans fell back in good order to their intrenchments, while the Anglo-German army, lying on their arms, retained the barren field of their foiled efforts to advance. Though both sides claimed the victory, neither had triumphed at "Freeman's Farm." It was in reality a drawn battle. The forces engaged in the conflict were nearly equal, the Americans having about 3,000 and the enemy nearly 3,500 of their best troops. The loss of the former was 65 killed, 218 wounded, and 38 missing; while that of the latter, according to their own authorities, was about 600 killed and wounded. British bayonets and abundant artillery were fully matched by American rifles, without a single piece of ordnance. Had Arnold been properly reinforced by Gates, he might have broken the enemy's line and have gained a complete victory.
Gates's army was confident and jubilant as to the issue of the campaign, Burgoyne's anxious and despondent; while both generals strengthened their positions, and their camps resounded with "dreadful note of preparation" for a coming conflict.
From Andrews's Hist. of the War, London, 1785, vol. iii. There is also a likeness in Murray's Impartial Hist. Cf. Mag. of Amer. Hist. October, 1883, p. 326.—Ed.
The quarrel which had been brewing between Gates and Arnold, growing[306] out of former jealousy and the supersedure of Schuyler, ripened into open hostility. The crisis of the feud came when Gates failed in his official report to make any mention of Arnold's personal participation in the battle of Freeman's Farm. Thereupon a violent altercation ensued, resulting in Arnold being relieved of his command and excluded from headquarters.
Though unemployed, he continued with the army, the officers of his division begging him not to leave them, as another battle was impending.
The two armies confronted each other within cannon-shot, and scarcely a night passed without some contest between pickets or foraging parties. Burgoyne, anxiously awaiting news of Sir Henry Clinton's coöperation from New York, tenaciously held his ground, though living upon half rations. Gates in the mean time supinely rested in his camp, awaiting the day when the ripened fruit of Schuyler's skill, in retarding the enemy's march and cutting off his detachments, should fall at his feet, and Burgoyne be compelled to starve or pass under the Caudine Forks.
Sir Henry Clinton, having been reinforced from England, left New York, October 3, with a large fleet and 3,000 troops, to effect the long-expected junction with Burgoyne. On the 5th he reached Verplanck's Point, on the Hudson River, from which he made a feint upon Peekskill. Having by this ruse deceived the aged Putnam, in command of the Hudson Highlands, Clinton crossed with his main body on the 6th to King's Ferry, and, by following a circuitous route around the Dunderberg Mountain, the British general in the afternoon carried by assault the feebly garrisoned[307] but bravely defended Forts Montgomery and Clinton. The enemy's fleet then destroyed the boom and chain across the river, forced the Americans to burn two frigates, which could not escape, and ended their excursion up the Hudson at Esopus (now Kingston) by laying it in ashes and returning to New York, it being too late to save Burgoyne.
SIR HENRY CLINTON.
From Murray's Impartial Hist. of the Present War, i. p. 526.—Ed.
The American army, after the battle of Freeman's Farm, was daily growing stronger in men and fortifications, while the Anglo-German force was constantly becoming weaker and worn out by watching and incessant alarms. Burgoyne's situation was critical, for he could neither advance nor retreat with safety, and to stand still was to starve. Already the loyalists and Canadians were deserting in numbers, and his Indians, having little opportunity for plundering and scalping, were abandoning him altogether.
Receiving no tidings from Sir Henry Clinton, Burgoyne determined to make an armed reconnoissance of the American left on the 7th of October, and attack the next day, should there be a reasonable prospect of success; if not, to fall back on the 11th behind the Batten-Kill.
Accordingly, leaving proper guards for his camp, Burgoyne in person, at ten A. M. of the 7th, with 1,500 choice troops and ten pieces of artillery, moved out for the contemplated reconnoissance, which was at the same time to cover a foraging party to gather wheat for the pressing necessities of his army. His troops were formed in three columns, and when within three quarters of a mile of the American left were deployed in line of battle upon open ground behind a screen of dense forest. Fraser, with 500 picked men, formed the right, ready to fall upon Gates's left; Riedesel, with his Brunswickers, held the centre; Phillips was in charge of the British left; while the Indians, rangers, and provincials were to work their way through the woods to gain the left and rear of the American camp, in which Lincoln then commanded the right, and Gates had taken Arnold's place on the left.
So soon as the enemy moved and the foragers were at work, Gates ordered out Morgan. Divining Burgoyne's intention, Morgan was to seize[308] the high ground on the enemy's right by making a wide sweep; Learned was to hold the German centre in check; and Poor, with his brigade of Continentals and some militia, concealed by the woods, was to assail the British left. Poor, supported by Learned, opened the battle at half past two with great fury against Major Acland's grenadiers, and extended his blows to Riedesel's centre; Morgan and Dearborn almost simultaneously fell like a thunderbolt upon the enemy's right.
GEORGE CLINTON.
Reproduced from Delaplaine's Repository of the lives and portraits of Distinguished Americans (Philad.). It was painted by Ames. It is engraved on steel in Allen C. Beach's Centennial Celebrations of the State of New York (Albany, 1879), and by J. B. Forrest in Irving's Washington, ii. 209. A profile likeness by St. Memin is engraved in the Doc. Hist. N. Y., vol. iv. A portrait in uniform at an earlier age was etched by H. B. Hall, in 1866, and appears in the Mag. of American History, December, 1881. An engraving of a bust by Ceracchi (owned by the N. Y. Hist. Soc.) accompanies a memoir of Clinton by W. L. Stone in Ibid., iii. 336.—Ed.
Burgoyne, seeing the danger of Fraser's right being turned, ordered him to fall back to a new position, in doing which Fraser was mortally wounded by one of Morgan's sharpshooters. In the mean time, Poor was playing wild havoc with Acland's grenadiers, captured Phillips's artillery after killing nearly all of its gunners, and then turned their own pieces upon the British, putting the entire left of their army to flight.
The Germans still firmly held their ground in the centre, when Arnold, maddened by his wrongs, dashed wildly into the thickest of the fight, without authority assumed command of his old division, with audacity and judgment[309] led regiment after regiment to the attack at different points, roused his troops to the highest enthusiasm, and forced back by his impetuous assaults the already shattered British line, which Burgoyne then courageously led in person. But all of the British commander's determination was of little avail, his entire forces being driven back into their intrenched camp. Here the wreck of the Anglo-German army made a firm stand; but Arnold still sought new dangers. With desperation he and his fearless followers mounted embankments and abatis to assail Balcarras, then dashed upon the strong works of the German camp, and ceased not his furious onsets till the whole of the enemy's fortified position lay open, when night closed the scene.
The American army in this decisive battle lost 50 killed and 150 wounded, including among the latter the dauntless Arnold. The enemy, besides nine guns, a large supply of ammunition, and much baggage, lost 176 killed, about 250 wounded, and some 200 prisoners. Among those who lost their lives were the gallant Fraser and the sturdy Breyman, and included in the wounded were several British officers of high rank.
Burgoyne, signally defeated and exposed to a new attack by double his fighting force, prudently retreated, on the stormy night of the 8th, to Saratoga, leaving behind his sick, wounded, and everything he could possibly spare. General Fraser was buried, as he had requested, in a large redoubt near the Hudson, the guns fired over his grave being the American artillery aimed at the group of distinguished mourners before knowing the occasion of their assembling.
Gates, who had not been personally engaged in either battle of his army, remained two days with his main body in the abandoned camp of the enemy at Wilbur's Basin, he judiciously having sent detachments to take advantageous positions to hem in Burgoyne. On the 11th, Gates ordered his main body to cross the Fishkill, supposing Burgoyne had further retreated; but his advanced guard of 1,500 men under Nixon quickly withdrew, having discovered the enemy intrenched and in battle array on the other side of the stream.
Burgoyne, now finding himself exposed to the concentric fire of the Americans, who nearly surrounded him, and having no opening through which to retreat to Lake George or to Lake Champlain, called a council of war to deliberate upon his desperate situation. "By their unanimous concurrence and advice", says he, "I was induced to open a treaty with Major-General Gates." At ten A. M. of the 14th, a flag of truce was sent by Burgoyne, asking for a parley, during which Gates demanded an unconditional surrender of the enemy's troops as prisoners of war. This proposition Burgoyne peremptorily refused to entertain. Hostilities in the mean time were suspended, and modified proposals were made. After two days' delay, Gates, hearing of Sir Henry Clinton's advance up the Hudson, and fearing that he might reach Albany, agreed upon the terms, dictated by Burgoyne, as follows:—
The Anglo-German troops to march out of their camp with all the[310] honors of war, and their artillery to be moved to the bank of the Hudson River, and there left, together with the soldiers' arms, which were to be piled at the word of command from their own officers. It was further agreed that a free passage to Great Britain should be granted to the troops on condition of their not serving again in the present contest; that all officers should retain their baggage and side-arms, and not be separated from their men; and that all, of whatever country they might be, following the camp, should be included in the terms of capitulation. Before signing the treaty, Burgoyne demurred to designate it as a capitulation, whereupon Gates readily consented to its being called a Treaty of Convention, and as such it was signed October 16, 1777.
BURGOYNE TO GATES.
Somewhat reduced, after the fac-simile in Wilkinson's Memoirs, i. 282.—Ed.
Burgoyne in a rich uniform, accompanied by his brilliant staff and general officers, rode, on October 17, to the headquarters of General Gates, who was simply attired in a plain blue coat. Reining up their horses, Burgoyne[311] gracefully raising his cocked hat, said, "The fortune of war, General Gates, has made me your prisoner;" to which the victor, gracefully returning the salute, replied, "I shall always be ready to bear testimony that it has not been through any fault of your excellency."
WASHINGTON AND GATES.
From Bickerstaff's Boston Almanac. This is from the title of the number for 1778, and shows the kind of effigies popularly current in such publications.—Ed.
On the site of old Fort Hardy the Anglo-German army, October 17, grounded their arms at the command of their own officers, none of the American troops being present to witness this humiliation of the enemy. In the afternoon the captured troops crossed the Hudson, and, escorted by a company of light dragoons, were marched between the parallel lines of American soldiers, preceded by two officers, unfurling "the stars and stripes" just adopted by Congress. While this ceremony took place in the presence of Burgoyne and Gates, the former drew his sword and presented it to the latter, which being received was courteously returned, when both generals retired into Gates's tent.[728]
While the prisoners, under guard of General Heath, were marching to[312] Boston, Gates hurried to Albany to oppose any movement of Sir Henry Clinton; and Major Wilkinson was sent to Congress to communicate the joyful tidings of Burgoyne's surrender. Rejoicings were heard throughout the United States, and the successful general was so elated and his vanity so stimulated that he aspired to supplant Washington, as he had Schuyler.
A few criticisms upon the plan of the campaign of 1777, and the mode of conducting it, may be permitted. The British cabinet wisely decided upon the seizure of the Hudson as the most efficient way of breaking the power of the revolted colonies; but, in carrying out its design, it violated a fundamental maxim of war. No principle of strategy is better established than the superiority of interior as against exterior lines of operation of armies, as was so admirably illustrated in the "Seven Years' War." Frederic the Great, without any frontier barriers and open to attack on all sides, from his central position kept at bay France, Austria, Russia, Saxony, Sweden, and the Germanic body, whose united population was over twenty times as great as that of Prussia, including Silesia, a recently conquered province. In like manner, the Americans, in July, 1777, were within a great circle,—Schuyler on the upper Hudson, Putnam at the Highlands, and Washington in New Jersey, within supporting distance of each other; while the British armies were widely separated upon its vast circumference,—St. Leger moving to the upper Mohawk, Burgoyne from Canada, Clinton at New York, and Howe sailing to the Chesapeake.
In the struggle for the Hudson, the two independent British armies—one in Canada and the other in New York—were expected to coöperate in order to attain a common object, while Burgoyne with the one was tied down by fixed orders, and Clinton with the other had no instructions as to the part he was expected to perform. Besides, their bases were separated by about four hundred miles of wild, hostile, and thinly populated country, rendering intercommunication so difficult that, of ten messengers sent out by different routes to Howe, not one returned to Burgoyne.
No precaution was taken to provide for the losses of Burgoyne's army, nor to supply the necessary drafts upon it to garrison the posts in his rear, guarding his communications with Canada. When he gained possession of Ticonderoga, he called upon Sir Guy Carleton to furnish the necessary force to hold the place; but Carleton did not feel justified, under his precise orders, to send troops beyond his jurisdiction. Consequently, Burgoyne "drained the life-blood of his force" in the field to provide for the defence of this and other works left behind.
Burgoyne's logistics, or means of supplying and moving his army, were very defective. Not till June 7, 1777, a month after his arrival in Canada, did he make provision for the transportation of either stores or artillery, and then his arrangements were so entirely inadequate that they seemed based upon the assumption that his adversary was his inferior in all military[313] qualities. Hence, he decided "to trust to the resources of the expedition for the rest", while for his own personal baggage he used no less than "thirty carts." Most of his provisions had to be brought from England, a distance of 3,600 miles; some from Canada; and for the rest he relied upon the meagre resources of the hostile country he was to traverse. Consequently his army was often on reduced rations, sometimes nearly starving, and finally, to secure its existence, he undertook his disastrous raid upon Bennington.
After the pursuit of St. Clair, Burgoyne should have returned with his army to Ticonderoga, and taken the water route by Lake George, instead of forcing his way through an obstructed wilderness to Fort Edward, which he did not reach till July 30th, nor leave till August 14th. Had Schuyler directed Burgoyne's operations he could not have planned measures more conducive to his own advantage. On the Lake George route were only two small armed schooners to oppose any resistance, and from the head of the lake was a direct road to Albany, which had been followed by Abercrombie and Amherst. As it was, Burgoyne was compelled to send his supplies and artillery by the lake, and then carry them over the portage to Fort Edward, which consumed more time than would have been necessary to move in light marching order direct to Albany. General De Peyster, a careful student of this campaign, says: "Burgoyne could have been reassembled at 'Old Ty' by the 10th July; could have been transported to Fort George by the 12th; and, having left his heavy guns and all but his light artillery and indispensable materials there or at Ty, in depot, with a sufficient guard, could have reached Fort Edward on the evening of the 13th July. From this point to Albany is about fifty miles. With six or ten days' rations and an extra supply of ammunition sufficient for a battle of that period, Burgoyne could have swept Schuyler out of his path with ease, and, allowing one day's delay for a fight, could have occupied Albany on the 16th July." But the British commander had proclaimed, "This army must not retreat." Though he subsequently tried to palliate his mistake, all his correspondence shows that pride in carrying out his declaration, not military principles, made him persevere in the false movement which lost him the campaign, and secured in the end American independence.
Burgoyne, after his brilliant success at the opening of the campaign, suddenly relapsed into the sluggishness of his German allies. Instead of rapidly pursuing his demoralized foe, he tarried at Skenesborough till his pathway was thoroughly obstructed and the fugitives had recovered from their panic. After he had lost his prestige and the Americans had gained confidence by success at Stanwix and Bennington, he attempted with diminished forces to cope with the growing strength of his opponent. Thus, by delay, he lost in September what he might have achieved in July. From his arrival at Skenesborough till he had reached his southernmost point at Freeman's Farm, he moved only fifty miles in seventy-four days.
Slow in all his movements, Burgoyne's tardiness was increased by his large and superfluous train of artillery which accompanied all his toilsome marches. Even when he required the greatest celerity, he chose for his raid upon Bennington, not the nimble-footed light infantry under the dashing Fraser, but cumbrous dismounted German dragoons moving only a mile and a third an hour.
Burgoyne was not only slow, but he was irresolute. After his disastrous defeat at Bemis's Heights he lost five precious days in fatal indecision while retreat was possible. On October 12th his last chance had passed, he then being completely invested by the Americans, and nothing was left to him but surrender. According to Madame Riedesel, he had given in this crisis of his fate more attention to his mistress than to his army. Aspasia had triumphed over Mars.
While Burgoyne committed many blunders, his opponents had their shortcomings also. The fortifications of Ticonderoga, after falling into the hands of the Americans, were too much extended for their defence by a moderate garrison; but the most fatal error was the failure to occupy Mount Defiance, which completely commanded all the American works, and, when seized by the British, left St. Clair no alternative but hasty retreat and the abandonment of much artillery and considerable supplies. The fugitives then counted largely on the delay of their pursuers, who followed them with celerity, severely punishing them at Skenesborough and Hubbardton.
Congress committed the most criminal error, outweighing all others, in substituting, at the most critical moment of the campaign, a military charlatan for an accomplished soldier,—in supplanting Schuyler, who was the organizer of the victories, by Gates, who "had no fitness for command and wanted personal courage." To say nothing of the difference in merit of the two commanders, the time for making the change was most inopportune.
Putnam, a brave officer but no general, managed things so badly in the Highlands that Forts Montgomery and Clinton were lost, and the Hudson was opened to the enemy whenever he chose to advance.[729]
CRITICAL ESSAY ON THE SOURCES OF INFORMATION.
THE titles alone of the numerous works which have been consulted in the preparation of the foregoing narratives would fill many of these pages. Therefore, to avoid repetition, as most of them are common to all the chapters of this History of the American Revolution, reference will be made only to those authorities which have a bearing upon disputed points, or to newly discovered facts respecting the "Struggle for the Hudson."
Of the many authors who have written of the New York campaign of 1776, nearly all have followed the narrations given in Sparks's Washington and in the official despatches of the various officers engaged. For topographical details we have relied upon Des Barres' Atlantic Neptune (1780-81), with its plans of battles, sieges, etc., and maps of the seat of war, and upon the recent Coast Survey charts. Local historians have supplied many minor particulars, which need not be enumerated, except, perhaps, the one relating to the treason of William Demont, already referred to in the text. Much new light has been thrown upon the Burgoyne campaign by works published within the last few years.[730]
One of the most earnestly disputed points of Burgoyne's campaign is whether Arnold was personally engaged with the enemy at the battle of Freeman's Farm, on Sept. 19, 1777. Some authorities, notably Bancroft, while admitting that Arnold's troops were in the thickest of the fray, deny that the general himself was on the battlefield; while Stedman, Irving, Stone, and many others, equally competent to weigh the facts, maintain that Arnold was the conquering hero of the fight, and that, but for him, Burgoyne would have marched straight on to Albany.
Just after Gates had superseded Schuyler in the command of the Northern army, Arnold had returned from the Mohawk valley flushed with success and impatient to win new laurels. He was incessantly engaged in skirmishing with the enemy and adding to his reputation as a brilliant, dashing officer. Gates was envious of Arnold's growing fame, and resentful of his partiality for Schuyler. Hence arose a coolness towards Arnold, which rapidly ripened into bitter hostility. That the action of Freeman's Farm, a five hours' battle, full of skilful movements, was purely a series of chance operations without a guiding spirit, is utterly preposterous. As Gates was not engaged, whose was the directing mind but Arnold's, the second in command?
It seems impossible that one devoid of fear, brave even to rashness, who even courted danger at the risk of death, and one too who was filled with ambition and love of military glory, could possibly have allowed his command to go into action without leading its movements and sharing its perils. His subsequent heroism amid the carnage of battle at Bemis's Heights would seem a sufficient refutation of the charge that he who was always in the thickest of the fight was only a looker-on while the conflict of September 19th was raging around Freeman's Farm.
Gates, in his official report of the battle of Freeman's Farm, makes no mention of Arnold being engaged; and his adjutant-general, Wilkinson, in his Memoirs, written long after Arnold's good name had been blasted by his treason, says: "Not a single general officer was on the field of battle on the 19th of September, until evening, when General Learned was ordered out."
Under ordinary circumstances, the testimony of the commander-in-chief and his adjutant-general would be considered conclusive; but it must be borne in mind that both of these officers were inimical to Arnold, that neither was personally engaged in the battle, and that the wooded character of the ground precluded either from following any one's movements through the conflict.
On the other side, we have the contemporary testimony of officers present on the battlefield, newspaper accounts of the time, and Arnold's own division order of the day after the battle, in which he speaks of the zeal and spirit of the company officers engaged, in a manner which none but a close observer could notice. Besides, we have the direct evidence of two of Arnold's staff officers—Colonels Livingston and Varick—that their chief was the hero of the battle of Freeman's Farm; the former warmly lauding "his conduct during the late action", and declaring that "to him alone is due the honor of our late victory." Even the enemy's chief, Burgoyne, said in the British House of Commons: "Mr. Gates had determined to receive the attack in his lines. Mr. Arnold, who commanded on the left, foreseeing the danger of being turned, advanced without consultation with his general, and gave instead of receiving battle."
Another much-disputed point is whether to Schuyler or Gates is chiefly due the triumph of our arms in the Burgoyne campaign. Bancroft, in his History of the United States (vol. ix. ch. 21, orig. ed.), states that Schuyler lacked military talents, failed to harry the advance of Burgoyne, wanted personal courage, and had no influence with the people. All these charges have been triumphantly refuted by his grandson and by his biographer.[731]
General Schuyler's zeal, energy, ability, and sterling virtues have been so fully set forth in the preceding narrative of the Burgoyne campaign that any amplification here is needless; but it may be proper to add the testimony of some of our most distinguished countrymen as to the merits of this true gentleman, noble soldier, and patriotic Fabian hero. Chief Justice Marshall says: "In this gloomy state of things no officer could have exerted more diligence and skill than Schuyler." Chancellor Kent writes: "In acuteness of intellect, profound thought, indefatigable activity, exhaustless energy, pure patriotism, and persevering and intrepid public efforts, Schuyler had no superior." Daniel Webster said: "I consider Schuyler as second only to Washington in the services he rendered to the country in the war of the Revolution. His zeal and devotion to the cause under difficulties which would have paralyzed the efforts of most men, and his fortitude and courage when assailed by malicious attacks upon his public and private character, every one of which was proved to be false, have impressed me with a strong desire to express publicly my sense of his great qualities."
Washington, Hamilton, Jay, Jefferson, and most of the great men of the Revolution had unbounded confidence in Schuyler; and modern historians, such as Irving, Sparks, Lossing, and others, bear like testimony to his virtues and services. Even Congress, which had so unjustly removed Schuyler from his command, when convinced of its error, would not consent to his resignation from the army till he persistently demanded it. Though Schuyler's military career did not sparkle with "feats of broil and battle", he exhibited those great qualities which are as conducive to the success of war as "the magnificently stern array" of arms in the heady fight. He was ready in expedients to foil the enemy, skilful and persevering in executing them, and resolute and untiring till his end was obtained. Never discouraged by disaster, and stimulated to higher effort as fortune[317] frowned, he continued sanguine of success in the darkest hour of adversity. Every assault upon his reputation fell harmless before his invulnerable patriotism; no injustice could swerve him from the path of honor; and to him, as to all true men, the meaning of life was concentrated in the single word Duty.
Disposal of the Convention Troops.[732]—In accordance with Article IV. of the convention, the captured army was marched, under guard of General Glover, to the neighborhood of Boston, where it arrived about Nov. 6th. The British troops were barracked on Prospect Hill and the German troops on Winter Hill, the officers being quartered in Cambridge and the[318] neighboring towns. Much complaint was made of the character and insufficiency of their accommodations, but considering the limited supply of houses at the disposal of General Heath, commanding the Eastern department, he did the best in his power, without the aid of the State of Massachusetts, to whose Council he appealed for the use of "at least one of the colleges" for their comfort. At the worst, however, these captives fared far better than our own troops at Valley Forge during that winter.[733]
Under Article V. supplies were to be furnished to Burgoyne's army "at the same rates." This was interpreted by Congress, Dec. 19th, to mean "that the accounts of all provisions and other necessaries which already have been or which hereafter may be supplied by the public to prisoners in the power of these States shall be discharged by either receiving from the British Commissary of Prisoners, or any of his agents, provisions or other necessaries, equal in quality and kind to what had been supplied, or the amount thereof in gold or silver."
Exacting provisions in kind, though inconvenient to the British commissary, was not unreasonable, considering their scarcity; but the condition that expenditures made in depreciated Continental money should be liquidated, dollar for dollar, in gold and silver, was a hard one. As a justification for this latter requirement, it was stated by Congress "that General Howe had required that provisions should be sent in for the subsistence of the American prisoners in his possession, and that for the purchase of such necessaries he had forbidden the circulation of the currency of the States within such parts as are subject to his power."
By Article II. General Howe was authorized to send transports to Boston to receive the troops for their conveyance to England. For its failure to carry out the obligation imposed upon it by its own general, the American government, through Congress, justified itself by claiming that Burgoyne had already evaded the provisions of Article I. of the convention. Bancroft, in his History of the United States, contends that it had been broken by Burgoyne at the time of the surrender, by the concealment of the military chest and other public property, of which the United States were thus[319] defrauded.[734] He therefore sustains Congress in its subsequent demand for the descriptive lists "of all persons comprehended in the surrender", and the postponing of the embarkation of Burgoyne's army "until his capitulation should be expressly confirmed by Great Britain."
On the other side are many high authorities, among whom is Dr. Charles Deane, who, Oct. 22, 1877, made an exhaustive report upon the subject of the Convention of Saratoga to the American Antiquarian Society. He contends that the acts of Congress "were not marked by the highest exhibition of good policy or of good faith."[735]
Fair inferences, from the facts in evidence, lead to the belief that neither party was scrupulous in carrying out its obligations. Burgoyne, after a preliminary agreement to the terms of the convention, was in favor of breaking the treaty, because, before affixing his signature to it, he had heard of the success of Sir Henry Clinton in the Hudson Highlands. He was willing, therefore, to barter his plighted promise to further his own interest, and actually submitted to a council of his officers "whether it was consistent with public faith, and if so, expedient, to suspend the execution of the treaty, and trust to events." To the honor of the officers of the Anglo-German army, a decided majority of the council overruled the wishes of the general-in-chief, whereupon Burgoyne, Oct. 17, signed the convention.
Its second article stipulated that "a free passage be granted to the army, under Lieutenant-General Burgoyne, to Great Britain, on condition of not serving again in North America during the present contest." It seems almost incredible that even Gates could have been guilty of such fatuity in sacrificing by this article all the fruits of the past campaign, and jeoparding American independence. It would have been better to have disarmed and disbanded these demoralized troops on the spot. He could thus have saved the country much anxiety, inconvenience, and expense, in guarding, housing, and caring for them till rested from their fatigues and embarked for England, where they could be exchanged for an army of fresh troops, which might cross the ocean in the spring to plague the inventors of such a stupid compact, or convention.
Burgoyne was not slow to avail himself of a literal interpretation of words he had designedly used in drawing up the convention, for we find him, only three days after the surrender, writing to his friend, Colonel Phillopson: "I dictated terms of convention which save the army to the State for the next campaign."
Was it in the same spirit that Burgoyne carried out the first article of the convention, by which his "arms and artillery" were to be left piled on the banks of the Hudson? By a literal interpretation this might mean only muskets and cannon, but certainly such would not be the accepted military meaning of that article, especially as it had to be construed in connection with the sixth article, permitting all officers "to retain their carriages, bat-horses, and other cattle, and no baggage to be molested or searched; Lieutenant-General Burgoyne giving his honor that there are no public stores secreted therein." But, notwithstanding all this, Madame Riedesel, the wife of General Riedesel, says in her journal: "Now I was forced to consider how I should safely carry the colors of our German regiments still further, as we had made the Americans at Saratoga believe that they were burnt up—a circumstance which they at first took in bad part, though afterwards they tacitly overlooked it. But it was only the staves that had been burned, the colors having been thus far concealed. Now my husband confided to me his secret, and entrusted me with their still further concealment. I therefore shut myself in with a right honorable tailor, who helped me make a mattress in which we sewed every one of them. Captain O'Connell, under pretence of some errand, was dispatched to New York and passed the mattress off as his bed. He sent it to Halifax, where we again found it on our passage from New York to Canada, and where—in order to ward off all suspicion in case our ship should be taken—I transferred it into my cabin, and slept during the whole of the remaining voyage to Canada upon those honorable badges." She truly called them "honorable badges", for to an army they are the insignia of nationality and emblems of power, under which the soldier ventures his life and reputation.
How was it with the British flags? Burgoyne stated that they were all left in Canada. But it happens that one of them was displayed at Ticonderoga upon the evacuation of that place by St. Clair; and five of them were captured at Fort Stanwix from St. Leger, whose detachment accompanied Burgoyne till just before leaving Canada upon his great campaign. Further, it is written in the Historical Record of the Ninth Regiment that Lieutenant-Colonel Hill, of that regiment, "being anxious to preserve the colors, took them off the staves and concealed them in his baggage, which he was permitted to retain." Subsequently these colors, hidden among his baggage, in which Burgoyne had given his honor that no public property was secreted, Colonel[320] Hill presented "to George III., who rewarded his faithful services with the appointment of aide-de-camp to his Majesty, and the rank of Colonel in the army."
As Burgoyne was by Article I. allowed to march to the ground of surrender "with the honors of war", General Horatio Rogers, with the sentiment of a true soldier, says in one of his admirable annotations of Hadden's Journal: "Had Burgoyne's officers believed that their colors were not embraced in the terms of the convention, they would have flung them to the breeze and proudly marched out under them, as an indication of how much of their honor they had preserved, especially when they supposed they were about to embark for England; for soldiers lay down their lives for their flags, the loss, surrender, or concealment of which, save in rare instances, is synonymous with defeat and humiliation."[736]
Though it appears that all of the accoutrements and other public property of the Anglo-German army were not surrendered and a considerable part was found unserviceable, it is unnecessary to make a special point of this minor matter, after presenting the graver delinquencies on Burgoyne's part.
General Halleck, one of the best authorities on the Laws of War, in his work on International Law, says: "The general phrase, 'with all the honors of war,' is usually construed to include the right to march with colors displayed, drums beating, etc.... A capitulation includes all property in the place not expressly excepted, and a commander who destroys military stores or other property after entering into such agreement not only forfeits all its benefits, but he subjects himself to severe punishment for his perfidy. So, after a capitulation for the surrender of an army in the field, any officer who destroys his side arms or his insignia of rank deprives himself of all the privileges of that rank, and may be treated as a private soldier. The reason of the rule is manifest. The victor is entitled to all the honors and benefits of his agreement the moment it is entered into, and to destroy colors, arms, etc. thereafter is to deprive him of his just rights. Such conduct is both dishonorable and criminal."
Whether the shortcomings of the British general-in-chief were known to Washington cannot be determined, but the latter's correspondence clearly indicates what he believed would be the action of George III. upon the arrival of the convention troops in Great Britain. Hence he writes, November 13, to General Heath: "Policy and a regard to our own interest are strongly opposed to our adopting or pursuing any measures to facilitate their embarkation and passage home, which are not required of us by the capitulation."[737] Congress, December 17, concurred in these views, and consequently refused Burgoyne's application for his army to embark from Newport or some port on Long Island Sound, to avoid the long and dangerous winter passage around Cape Cod of the British transports which were to receive the troops.
In this, as in all matters involving the success of the Revolution, Washington was not only patriotic, but morally right. We had committed a blunder at Saratoga, but there was no reason why we should increase the mischievous effect of it by expediting the enemy's movements from Boston, and thus add to the danger of our destruction by enabling him to replace Burgoyne's troops in America by others they might relieve elsewhere, in time for the next year's campaign.
Congress had, November 8th, instructed General Heath to require descriptive lists of all the convention troops, to secure us against their reappearing in arms against us during the war. This Burgoyne resented as impeaching the honor of his nation, but he subsequently complied with a measure so essential to our protection.
In Burgoyne's complaint of November 14th regarding the quarters for his officers and men, he inadvertently said, "The public faith is broke", which unguarded expression was at once seized upon by Congress; when a committee, of which Francis Lightfoot Lee was chairman, submitted its report, upon which Congress, then composed "of but a few members, and all of them not the most suitable for the station", adopted, January 8, 1778, the following resolutions:—
"Resolved, that as many of the cartouch-boxes and several other articles of military accoutrements annexed to the persons of the non-commissioned officers and soldiers included in the Convention of Saratoga have not been delivered up, the Convention, on the part of the British army, has not been strictly complied with.
"Resolved, that the refusal of Lieutenant-General Burgoyne to give descriptive lists of the non-commissioned officers and privates belonging to his army, subsequent to his declaration that the public faith was broke, is considered by Congress in an alarming point of view; since a compliance with the resolution of Congress could only have been prejudicial to that army in case of an infraction of the convention on their part.
"Resolved, that the charge made by Lieutenant-General Burgoyne, in his letter to Major-General Gates of the 14th of November, of a breach of the public faith on the part of these States, is not warranted by the just construction of any article of the Convention of Saratoga; that it is a strong indication of his intention, and affords just ground of fear that he will avail himself of such pretended breach of the convention, in order to disengage himself and the army under him of the obligation they are under to these United States; and that the security which[321] these States have had in his personal honor is thereby destroyed.
"Resolved, therefore, that the embarkation of Lieutenant-General Burgoyne and the troops under his command be suspended till a distinct and explicit ratification of the Convention of Saratoga shall be properly notified by the court of Great Britain to Congress."[738]
Delays followed these resolutions, and finally, February 3, 1778, General Heath was instructed that the embarkation of the troops was to be indefinitely postponed, the transports upon their arrival to be ordered away from the port of Boston, and the guard over the prisoners to be strengthened. General Burgoyne, of course, was indignant, and offered that, "should any doubt still subsist that the idea of being released from the engagement of the convention has been adopted by any part of the troops", he would give a further pledge of the faith of every officer in his command, "provided the suspension is immediately broken off." This frank offer was referred to a committee, which reported that in their opinion it contained nothing "sufficient to induce Congress to recede from their resolution of the 8th of January;" and the report was agreed to March 2, 1778.
This disingenuous resolution of Congress, "that the embarkation be suspended" until the happening of some further contingent event, was returning the poisoned chalice to Burgoyne's lips, being exactly in keeping with his proposition submitted, October 15, 1777, to a council of his officers, "whether it was consistent with public faith, and if so, expedient, to suspend the execution of the treaty and trust to events."
Notwithstanding many members had no confidence in the political integrity of Great Britain,[739] such holding of the convention troops as prisoners of war, contrary to the principles of international law, certainly placed Congress in a most unfavorable light. Even so distinguished a member as Richard Henry Lee, writing to Washington, says: "It is unfortunately too true that our enemies pay little regard to good faith, or any obligations of justice and humanity which render the Convention of Saratoga a matter of great moment; and it is also, as you justly observe, an affair of infinite delicacy. The undoubted advantage they will take even of the appearance of infraction on our part, and the American character, which is concerned in preserving its faith inviolate, cover this affair with difficulties, and prove the disadvantage we are under in conducting war against an old, corrupt, and powerful people, who, having much credit and influence in the world, will venture on things that would totally ruin the reputation of young and rising communities like ours." We would further remark that the moral standard of even the most civilized nations was not then as high as in this more advanced age, and that upon the construction of this convention hung the independence of the United States. Napier said of the Convention of Cintra in 1808: "A convention implies some weakness, and must be weighed in the scales of prudence, not those of justice."
General Burgoyne and his staff were allowed by Congress to return to England on parole. Soon after their departure the British troops were removed to Rutland, Mass., because of fears of their being rescued by the British forces then at Newport, R. I. Congress finally directed that the Convention troops, in order to be more easily subsisted, should be removed to Charlottesville, Virginia,[740] where they arrived in January, 1779, and they were detained in the United States[322] till the conclusion of peace with Great Britain. Most of the officers had in the mean time been exchanged.
Dr. Deane, in concluding his investigation of this subject, says: "There can be no doubt that the supreme authority in the State would always have the right, as it has the power, to revise a treaty made by its agents, as in the case we have been considering. This follows from the nature of sovereignty itself. An Arnold might be bribed to to capitulate to the enemy. But where such treaties are entered into in good faith, and the obvious powers of the commanders have not been exceeded, the agreements between the victor and the vanquished are regarded by the highest authorities as to be sacredly kept. Humanity demands it; otherwise there would be no cessation of hostilities till the annihilation of both belligerents."[741]
While Great Britain had just cause to complain of the violation of the Convention of Saratoga by the American Congress, she might ask herself, did she always observe strict faith with her revolted colonies.
According to the Articles of Capitulation of Charleston, S. C., May 12, 1780, the garrison were allowed some of the honors of war. They were to march out and deposit their arms between the canal and the works of the place, but the drums were not to beat a British march, nor the colors to be uncased; the Continental troops and seamen, keeping their baggage, were to remain prisoners of war until exchanged; the militia were to be permitted to return to their respective homes as prisoners on parole, and while they kept their parole were not to be molested in their property by the British troops; the citizens of all descriptions were to be considered as prisoners on parole, and to hold their property in the town on the same terms as the militia.
After the capitulation, Sir Henry Clinton sent out three expeditions and issued three proclamations, all having in view the subjugation of South Carolina. The butchery which Tarleton inflicted is well known; and even the British historian, Stedman, who was then an officer under General Clinton, says of it: "The virtue of humanity was totally forgot." The enemy's detachments, sent to various parts of the State, paid little regard to the rights and property of its inhabitants. Sir Henry, assuming that the province was already conquered, issued, before his departure to New York, a proclamation discharging all the military prisoners, except those captured in Fort Moultrie and Charleston, from their parole after June 20, 1780. Thus, without their own consent, by Clinton's arbitrary fiat, these paroled persons were converted from their neutrality into British subjects, and compelled to take up arms against their neighbors, or, failing to comply with this enforced allegiance, were treated as rebels. The Whig inhabitants were worried, plundered, and murdered by Tories, in open violation of all British pledges; leading men were confined in prison-ships; and patriotic citizens, who had resumed their swords upon finding all guaranties violated, had their property sequestrated, and themselves were severely punished, sometimes with death. The British rule was truly a reign of terror.
Lord Mahon stigmatizes in the severest language American faith as utterly derelict in carrying out the Convention of Saratoga,[742] while of the sequel of the capitulation of Charleston he has no holy horror. His only remark is: "Perhaps these measures exceeded the bounds of justice; certainly they did the bounds of policy." This same English historian, in his account of Arnold's treason, speaks of the death of André as the "greatest blot" upon the career of Washington. He contends that it was unjust to arrest André, because he had a safeguard from Arnold; and sneers at the twelve distinguished American generals upon the Board which condemned the spy, as incompetent plebeians, drawn from "the plough-handle and from the shop-board." According to Mahon's fallacious mode of reasoning, Washington should not only have let André go free, because protected by the traitor's pass, but should have given up West Point, its garrison and arms, to Sir Henry Clinton, as fully agreed upon by Arnold, the duly constituted American commander. According to such reasoning, Judas Iscariot was justified in betraying the Saviour, because he had been one of the trusted twelve who sat down to the Last Supper. The just fate of the spy and betrayer was the same, except that Judas was his own executioner.
Of the various military conventions, that of Kloster-Zeven, of September 8, 1757, between the Duke of Cumberland and Marshal Richelieu, most resembles that of Saratoga. In both the victors had the vanquished at their mercy; in both the terms of surrender, under the circumstances, were moderate beyond all necessity; in both the capitulations were unsatisfactory to the governments concerned; and in both the treaties were broken from motives of expediency, frivolous pretexts being used to cover the odium of bad faith.
George II., as Elector of Hanover, "to clear[323] himself", says Sir Edward Cust, "from the dishonor of the convention, disavowed his son's authority to sign it", recalled him from his command, and declared that the hero of Culloden had ruined his father and disgraced himself. We cannot enter into the reasons assigned by the British ministry for abrogating this compact, but they were at the least as invalid as those used by our Congress in suspending the execution of the Convention of Saratoga. When the Hanoverian army, under Prince Ferdinand of Brunswick, took the field in contravention of agreement, Marshal Richelieu declared his own fidelity in keeping the treaty, and that, should the enemy "commit any act of hostility", he, as authorized by the laws of war, "would push matters to the last extremity." The declaration of the French marshal "was seconded", says Smollett, the British historian, "by the Count de Lynar, the Danish ambassador, who had meditated the Convention of Kloster-Zeven under direction of his master to save Hanover from the horrors of war."
EDITORIAL NOTES ON THE AUTHORITIES.
I. The Campaign around New York City in 1776.—The Americans had been early warned of the British plans to secure the line of the Hudson (Journal of the Provincial Congress of New York, 172; Lossing's Schuyler, ii. 16), and on the American side plans of obstructing and defending the river had been made as early as Sept., 1775, and they ever after constituted a chief anxiety of the continental and provincial authorities.[743] Several early maps making record of these efforts have been preserved.[744]
FORT MONTGOMERY, May 31, 1776.
CHAIN AT FORT MONTGOMERY.
Reduced from the cut in Ruttenber's Obstructions to the Navigation of Hudson's River, p. 64.
Key. A, Fort Montgomery. B, Fort Clinton. C, Poplopen's Kill. D, Anthony's Nose. a, floats to chain. b b b, boom in front of chain. c c c, chain. d, rock at which the chain was secured and large iron roller. e e, cribs and anchors. f, blocks and purchase for tightening chain. g h, ground batteries for defence of chain. [S, section showing floats and chain; c c c, chain; f f f, floats.] The cut follows the original drawing found in the papers of the secret committee. There is a plate showing the boom and chain at West Point in Boynton's West Point, p. 70.
The anomalous condition of New York during the later part of 1775 is shown from the Tory point of view in Jones's New York during the Revolution. Rivington's press was destroyed in Nov., 1775 (N. Y. City Manual, 1868, p. 813). There was an irruption from New Jersey into Long Island in Jan., 1776 (Jones, i. 68). In Feb. the military control appears in Col. David Waterbury's orderly-book (Mag. of American Hist., Dec., 1884, p. 555). Moore gives current published reports, including Gov. Tryon's proclamation in March (Diary of the Rev., i. 216). During the same month Lee made a report on the fortifications of the city (N. Y. Hist. Soc. Coll., 1871, p. 354), and Field, in his Battle of Long Island, traces the measures of Lee to convert New York into a camp and to root out the Tories on Long Island.
CONSTITUTION ISLAND, 1776.
From the Sparks Maps. Key: "A, Gravel Hill battery, 11 guns. B, Hill clift battery, 3 in front, not finished. C, Marine battery, 8 guns. D, Romain's battery, 14 guns. E, Round Tower, 8 guns." These works were later commanded by those erected at West Point.
Stirling had also been exercising command in New York (Duer's Stirling, 139), and had seized Gov. Franklin of New Jersey (N. J. Archives, x. 702). In April, 1776, Putnam arrived with instructions from Washington (Sparks's Washington, iii. 337), finding Heath fresh from a review of the troops (Moore, i. 228).[745]
With the arrival of Washington in the middle of April, 1776, the campaign may be said to have begun. His batteries soon sent the few British ships in the harbor down to Sandy Hook, and Benjamin Tupper, commanding the little American flotilla, tried to destroy the lighthouse at that point, June 21.[746] Beside the official letters of this time there are numerous private ones.[747]
Late in June and early in July Lord Howe's fleet arrived in the lower harbor, and the troops were landed on Staten Island.[748]
The harbor of New York necessarily had more or less hydrographical treatment in all the early plans. Before the outbreak of hostilities, this may be seen, not only in the Des Barres series of maps, but in the chart of 1764,[749] reproduced in Valentine's Manual (1861, p. 597).[750] After the war began, we find several harbor maps worthy of note.[751]
During June came the plot for assassinating Washington in New York.[752] Washington was discouraged with the progress of the recruiting. "Washington and Mercer's camps recruit with amazing slowness", wrote Jefferson from Philadelphia, July 20th.[753] Mercer commanded the Flying Camp of militia from Pennsylvania, Delaware, and Maryland, which were hovering between the British and Philadelphia.[754]
Clinton's expeditionary force returned from Sullivan's Island Aug. 1st, and the active campaign began when, three weeks later, Howe moved a large part of his force across from Staten Island[755] to Gravesend, on Long Island, Aug. 22d, Sir George Collier commanding the fleet which covered the landing,[756] and the advance then began towards the lines near Brooklyn which General Greene had had the charge of constructing.[757]
Respecting the orders antecedent to and during the battle, those of Washington are in Force; but Johnston adds to them from the orderly-books.[758] Washington's own account can be found in his letters to Congress, to Gov. Trumbull, to[327] the Mass. Assembly,[759] and he probably dictated the letter of Col. Harrison, his secretary, to Congress.[760]
BATTLE OF LONG ISLAND, 1776.
Sketched from a part of a MS. Hessian map in the library of Congress, called Plan générale des opérations de l'armée Britannique contre les Rebelles, etc.
Key: "A, Le camp du Général Howe sur Staten Island à l'arrivée du général de Heister avec la 1re division des troupes Hessoises le 22 d'Aoust, 1776. B, Le camp qu'on occupa sur Staten Island cette division après du debarqué. C, L'endroit où les troupes debarquerent sur Long Island. D, Camp du général Howe près de Gravesend. E, Camp du général de Heister après la descente sur Long Island le 27 d'Aoust, 1776. F, Marche de la colonne droite commandée par le général Clinton vers Bedford dans la nuit du 26 au 27 Aoust. G, Marche de la colonne gauche, commandée par le général Grant. H, Attaque de l'avant garde du général Clinton du 27me Aoust. J, Où le général Clinton forma sa colonne pour continuer l'attaque. K, Attaque du général Grant. L, Attaque du général de Heister. M, Les lignes des enemis à Brooklin. N, Corps détachés de l'enemis hors de ses lignes. O, Les redoutes de l'enemis à Readhook. Q, Les redoutes à Gouverneur island."
The lines (·—·—) represent roads. The blocks, half-black and half-white, are the Americans; those divided diagonally are the Hessians; the solid black are the British.
A Hessian officer's map, obtained from Brunswick, and showing Ratzer's topography, is given in fac-simile in Field's monograph (p. 310), and a German map of Long Island is given in the Geographische Belustigungen (Leipzig, 1776). There is a somewhat coarse-colored map among the Rochambeau maps (no. 25), measuring fifteen inches wide by eighteen high, called Attaque de l'armée des Provinciaux dans Long Island du 27 Août, 1776. Publié, 1776. A MS. "Plan of the Attack of the Rebels on Long Island by an officer of the army" is among the Faden maps (no. 56) in the library of Congress. The map used in Stedman is re-engraved, with additions, in Irving's Washington, illus. ed., ii. 309.
LONG ISLAND, August, 27, 1776.
Sketched from a large Plan of the Battle of Long Island and of the Brooklyn defences, Aug. 27, 1776, compiled by Henry P. Johnston, which accompanies his Campaign of 1776, and is based, as he says, on Ratzer's map of Brooklyn (1767-68) and the United States coast survey. Before daylight on the morning of the 27th, the British advance under General Grant disturbed the American pickets at the Red Lion, which is near the westerly angle of the present Greenwood Cemetery area, marked on the plan with a dotted line. As the day wore on, the conflict pressed between the British at P and Q and the Americans under Stirling and Parsons at O and N,—Smallwood's Marylanders holding the extreme right on the water, and Huntington's Connecticut regiment on the extreme left. Johnston (p. 165) says Stirling's position was between 18th and 20th streets of the modern Brooklyn, and not as Sparks's map places him, near the Narrows. Meanwhile, a British column at 9 o'clock the previous evening had begun to move from Flatlands, and at 3 the next morning captured an American patrol at B, and at 6 the British column (marching in this order,—Clinton, Cornwallis, Percy, Howe) neared the American advance under Miles at C, who retired; and at 9 A. M. the British column was at Bedford and threw out a force to M, which began to attack the American outposts of D (Miles), E (Wyley), and F (Chester), forcing them to retire upon Sullivan, who commanded the forces of Johnston (H), Hitchcock (J), and Little (G), with pickets at K,—all within or near the present limits of Prospect Park, shown by the dotted line. Threatened by the British flanking column as well as by the Hessians in front, approaching from Flatbush under Heister with the commands of Von Stirn (S), Von Mirbach (T), and Donop (U), the Americans, after the capture of Sullivan himself, retreated as best they could across the creek and got within the lines. The column of the British advancing from Bedford threw out a force under Vaughan towards L to menace Fort Putnam and that part of the American works, while Cornwallis advancing towards R had a conflict there round the Cortelyou house at 11.30 A. M. with Stirling, who was trying to check this rear attack of the British, while such of his troops as could be controlled retreated from N and O, and, passing the marsh, crossed the creek (half a dozen or so being drowned), and reached dry land near some redoubts within the American line of defence. The point A represents the position of the present City Hall of Brooklyn. Stirling, meanwhile, with Smallwood's Marylanders in danger of being crushed between Cornwallis and Grant, and foiled in the attempt to reach Fort Box, retreated towards Flatbush, but encountered in that direction Gen. Heister's Hessians, and gave himself up to that officer.
T. W. Field in his monograph, the Battle of Long Island, gives a large plan showing the relations of the modern streets to the old landmarks, and marking "the natural defensible line, as nearly as it could be authenticated by documentary and traditionary evidence." Field adds that "the routes of the British were generally over country roads long since abandoned, and now covered with buildings; but their localities were accurately surveyed by the author before their traces were lost." Field also says (p. 145) that the American works were at once levelled by the British, and new ones were erected on interior lines. (Cf. G. W. Greene's General Greene, i. 159.) These latter lines are shown, as well as the earlier American works, in a Map of Brooklyn at the time of the Revolution, drawn by Gen. Jeremiah Johnson (Valentine's Manual, 1858). A rude map by J. Ewing, made Sept., 1776, is given in fac-simile in Johnston's Campaign of 1776 (Documents, p. 50) and in 2d ser. Penna. Archives, x. 194. Dr. Stiles made a rough plan in his diary, which he based upon a map of the ground and upon the information given him by one who was at Red Hook at the time. It is given in fac-simile by Johnston (p. 70).
The plan in Carrington's Battles (p. 214) is extended enough to illustrate the movements after the British occupation of New York; that in H. R. Stiles's Brooklyn (vol. i. 250) is an eclectic one, made with care, and his text attempts to identify the position of the lines and forts in relation to present landmarks. Gordon acknowledges receiving from Greene a map improved by that general (Hist. Mag., xiii. 25).
There are other plans in Marshall's Washington (large and small atlas); Sparks's Washington, iv. 68, repeated in Duer's Stirling (p. 162); Guizot's Washington; Samuel Ward's lecture on the battle, 1839; J. T. Bailey's Hist. Sketch of Brooklyn (Brooklyn, 1840); W. L. Stone's New York City, p. 246; Henry Onderdonk, Jr.'s Queens County, and Suffolk and Kings Counties; Ridpath's United States; Lossing's Field-Book, ii. 806, 809, 810; Lowell's Hessians; Harper's Monthly, Aug., 1876. Ratzer's map of Brooklyn is reproduced in Stiles's Brooklyn (i. 63), with a view of the same date (p. 217). Cf. map in Valentine's N. Y. Manual (1856). Cf. the bibliography of Long Island in Amer. Bibliopolist, Oct., 1872, and in Furman's Antiquities of Long Island, App.
Sullivan's letter is in effect a defence of himself,[761] and other letters from participants and observers are preserved,[762] as well as journals of actors on the field,[763] and other personal recitals,[764] and narratives in the public press.[765] On the British side we have Howe's despatch[766] of Sept. 3, with the comments and inquiry which it elicited,[767] and the report and journals of Sir[330] George Collier, in command of the fleet.[768] In addition we have a number of personal experiences and accounts of eye-witnesses,[769] as well as statements from the German participants.[770]
The circumstances of the battle and retreat have occasioned some controversy, in which Bancroft has been criticised by the grandsons of Gen. Greene[771] and Joseph Reed.[772]
Respecting the armies on both sides and their losses, there is ground for dispute. It is claimed that the British had about double the numbers of the Americans, and the losses of killed and wounded were about equal on both sides, though the Americans also lost heavily in prisoners.[773] But on this point see the preceding chapter.
Without enumerating at length the treatment of the general histories,[774] and the biographies of participants,[775] the battle of Long Island has had much special local[776] and monographic treatment,[331] particularly at the hands of Field, Johnston, Dawson, and Carrington.[777] On the English side we have contemporary and later examples of historical treatment.[778] It was the first substantial victory for the royal arms, and had little of the disheartening influence which the forcing of the redoubt at Bunker Hill had brought with it. The effect was correspondingly inspiriting to the Tories in America and to the government party in England.[779]
In transferring the scene across the river to New York, it is best in the first place to trace the topography of the town and island by the maps of the period, and to follow the cartographical records of the military movements during the campaign, before classifying the authorities.
John Hill's large plan of New York, extending as far north as Thirty-fourth Street, surveyed in 1782, and dedicated to Gov. George Clinton, was drawn in 1785.[780] He marks all the works of the Revolution,—coloring yellow those thrown up by the Americans in 1776; orange, those of the Americans which the British repaired; and green, those later erected by the royal forces. Johnston's map[781] adopts these yellow lines. Loosing (Field-Book, ii. 593, 799), in describing the New York lines, differs somewhat from Hill's map. Johnston controverts Jones and De Lancey (Jones's New York during the Revolutionary War), who claim that the American lines were levelled by the British; he also cites Smythe, who described them in March, 1777, as was also done by Thomas Eddis in Aug., 1777,[782] and by Anburey in 1781, and he depends on Hill's draft of them in 1782. Johnston (p. 36) also describes the appearance of the town at the opening of the war.[783] Johnston (p. 194) claims that his eclectic map is the first to give the entire island as it was in 1776. He followed the surveys of Ratzer and Montresor as far north as Fiftieth Street, and from that point to Kingsbridge he used the map of 1814, made by Randall for the commissioners to lay out streets. The annexed sketch of Johnston's map shows the fortifications surrounding the town of New York.
The following key explains the figures: 1, Fort George; 2, Trinity Church; 5, Old Dutch Church; 6, New Eng. Dutch Church; 8, Presbyterian meeting; 10, French Church; 11, Lutheran Church; 13, Calvinist Church; 16, New Scots' meeting; 17, Quakers' meeting; 18, Jews' synagogue; 20, Free English School; 21, Secretary's office; 22, City Hall; 25, Exchange; 26, Barracks; 27, Fish Market; 28, Old slip; 31, Oswego Market.
This is the best contemporary map on a large scale of the city of New York. It is dedicated to Gov. Moore, and made after surveys by Lieut. B. Ratzer in 1767. The whole map is given in Valentine's Manual, 1854; Dawson's New York City during the Amer. Rev. (1861); Jones's N. Y. during the Rev. War, i. 388. There is an original in Harvard College library. Cf. Map Catal. Brit. Mus., 1885, col. 2972. It was reissued in 1776 and 1777. Cf. Lamb's New York, i. 757, 760. This map of the town is a different one from Ratzer's map of the city and vicinity, which has at the bottom a southwest view of the town.
Thomas Kitchen, the English cartographer, published a map, after Ratzer's surveys, of New York city and vicinity in the London Mag., 1778. It has been reproduced in Shannon's N. Y. City Manual, 1869, and in the Mag. of Amer. Hist., 1885, p. 549.
A Plan of the City of New York and its Environs, "surveyed in the winter of 1766", and dedicated to Gen. Gage by John Montresor, is given in Jefferys' General Topog. of North America and the West Indies (London, 1768). Another form of it, purporting to be a later work, is the large folding Plan of the City of New York and its environs, ... surveyed in the winter, 1775, also dedicated to Gen. Gage by John Montresor, and published in London. It has been reproduced in D. T. Valentine's N. Y. City Manual, 1855, p. 482. It has a corner chart of the bay from Hoboken to Sandy Hook. Cf. the American Atlas, nos. 20 and 25. Montresor's plan was reproduced in Paris by Le Rouge in 1777.
Major Holland, the British surveyor-general, made a plan of the city of New York, which appeared separately and as a part of his Map of New York and New Jersey (1776). Cf. Valentine's Manual, 1863, p. 533, and the small plan of New York and vicinity, eight miles to an inch, which is given in New York City in the Revolution (1861). A plan of part of the city made in 1771 is given in Valentine's Manual, 1856, p. 426. There are among the Rochambeau maps several plans of New York and its environs, rather coarse and faded (nos. 26, 27, 28, 31). Contemporary printed maps are in Gaine's Universal Register (N. Y., 1776) and in the Universal Mag., 1776.
A survey of the region of Turtle Bay in 1771 is given in Valentine's Manual, 1860, p. 572, and a view at a later day in Ibid., 1858, p. 600. A MS. plan of Fort George (New York) by Sauthier is among the Faden maps (no. 95) in the library of Congress.
Howe was much criticised for his dilatoriness and his failure promptly to use his fleet to get in the rear of Washington's army.[784] There was a division of counsels among Washington's officers as to the advisability of attempting to hold the city; but a decision to evacuate finally prevailed.[785] Washington's army was gradually dwindling, for Congress and the country had hardly reached a conception of the necessity of long enlistments.[786] Finally on Sept. 15th the British passed over from Long Island to Kip's Bay, and the Americans fled in a panic;[787] and, with loss of many[334] stores, Washington gathered his forces within the Harlem lines. Johnston's draft of the works on Harlem Heights follows Sauthier's plan. The site of the fight thereabouts is west of Eighth Avenue and north of One Hundred and Twenty-fifth Street of the modern city. Johnston (p. 258) identifies the localities by the present landmarks, and says (p.264) that "some of the works are well preserved to-day" (1878). He also says that Randall, when he surveyed the island in 1812, found the remains of the works agreeing with Sauthier's drafts.[788]
Sauthier's draft of the conflict at Harlem Plains is reproduced in the Mag. of Amer. Hist., May, 1880. Later plans of the locality, drawn with reference to the landmarks of the battle, or interesting for comparison, are the map of 1814 in Valentine's Manual (1856) and the large folding plan of the upper part of New York, with the modern streets, upon which, in colors, is superposed a draft of this action. This last is given, with an account of the fight, in Shannon's N. Y. City Manual, 1868, p. 812.[789] We may note some of the principal contemporary and later authorities on this action of Harlem Plains.[790]
The origin of the fire of Sept. 21st, by which a considerable part of New York was burned, has been a subject of dispute, the Tories charging it upon the Americans;[791] but later authorities, English as well as American, agree in not believing it the work of incendiaries. It is known that Washington advocated the burning of the city if evacuation became necessary, and Jones (i. p. 84) says committees of Congress had agreed upon it, but that body certainly in the end directed Washington to spare it (Journals, Sept. 3, 1776).[792]
JOHNSTON'S NEW YORK ISLAND, 1776.
A marks the position of Trinity Church; B, the City Hall Park; C, the Mortier house, the American headquarters; D, Badlam's fort; E, Spencer's fort; F, the redoubt on Jones's hill; G, Bayard Hill fort; H, Hospital. Fort Stirling, in Brooklyn, is at K. The figures represent the batteries and redoubts: 1, Grand battery; 2, Whitehall battery; 3, Waterbury's battery; 4, redoubts; 5, Grenadier battery; 6, Jersey battery; 7, McDougal's battery; 8, Oyster (?) battery. The other marks indicate the positions of barricades.
When the British, leaving Newtown Creek, on Long Island, landed at Kip's Bay, the shore batteries thereabouts were abandoned by the Americans. Scott, at L, retreated by the broken line (— — —), and crossed along Bowery Lane, the ground now covered by Union and Madison squares (shown by the dotted oblongs). Wadsworth and Douglas retreated from M and N respectively, back upon Parsons at P and Fellows at Q, and all pursued the Bloomingdale road, just skirting the southwesterly corner of the area now known as Central Park (the large dotted oblong E E). Meanwhile, the garrison of the town lines, under Putnam and Silliman, retreated by the road leading from Fort G towards Greenwich; and near Bloomingdale the several columns joined and pursued their march to the lines on the heights above Harlem. Parton (Life of Burr, 86) describes how Burr at this time led Knox's brigade successfully away from Bunker Hill. Howe, who had advanced from Kip's Bay, dallied at the Murray house at O, and so failed to intercept the fugitives. Chester (R) and Sargeant (S) also deserted the works at Horn's Hook, and, striking the Kingsbridge or post read, retreated through McGowan's Pass at T. Thus all, by one road or another, got within the lines on Harlem Heights. Farther on in the text this map will be again referred to, for later movements. Cf. map in Gay's Pop. Hist. U. S., iii. 491.
THE SAUTHIER-FADEN PLAN, 1776.
The movement of Howe, which now forced Washington off New York Island and to a position at White Plains, is illustrated by a sketch of the "Sauthier-Faden plan", herewith given, and which may be explained by the annexed note[793] in connection with the special original sources,[794] and later historians.[795]
The reader may now revert to two outline maps already given, namely Johnston's New York Island and the Sauthier-Faden plan, in order to follow the movements which led to the fall of Fort Washington, using the annexed descriptive key;[796] but the outline of the original sources of the fall of Fort Washington, as well as the later accounts, are much the same as for the earlier events of the campaign.[797]
A part of the map made by Claude Joseph Sauthier in 1774, by order of Gov. Tryon, and published by William Faden in London, Jan. 1, 1779, as a Chorographical Map of the Province of New York in North America, Compiled from actual surveys deposited in the Patent Office at New York. This section is reproduced from a reduction made in 1849 by David Vaughan, and published in the Doc. Hist. N. Y., vol. i., where Tryon's report on the province in 1774 is printed. There is a copy of the original in Harvard College library (portfolio 3520). It was the basis of the map Carte des troubles de l'Amérique, par ordre du Chev. Tryon, par Sauthier et Ratzer, traduite de l'Anglais, à Paris, chez Le Rouge, 1778, which is included in the Atlas Amériquain, no. 15. It was also followed in maps published at Augsburg in 1777, and at Nuremberg, 1778. There is another Special Karte von den Brittischen Colonien in Nord America, showing the New England and Middle colonies, published in Christian Leiste's Beschreibung des Brittischen Amerika zur Ersparung der Englischen Karten, Wolfenbüttel, 1778. An English map with a Swedish title, Krigs Theatre in America, is found in the Beskrifning öfver de Engelska Colonierne i Nord America, 1776-1777 (Stockholm, 1777). Sauthier's surveys also appear in A map of the province of New York by Sauthier, to which is added New Jersey from the topographical observations of Sauthier and Ratzer, 1776. Cf. also A map of the provinces of New York and New Jersey ... from the topographical observations of Sauthier, Lotter, 1777 (Brit. Mus. Maps, 1885, col. 3,666).
Sauthier's drafts may be compared with A map of the province of New York with part of Pensilvania and New England from an actual survey by Captain Montresor, engineer, 1775, which was published in London, June 10, 1775, by A. Dury, making four sheets, and was republished "with great improvements", April 1, 1777 (Brit. Mus. Map Catal., 1885, col. 2,969). It was reëngraved in Paris and published in 1777 by Le Rouge, separately, and as nos. 13 and 14 of the Atlas Amériquain in 1778. Ithiel Town, in the preface of his Particular services, etc.,—now a scarce book, as only seventy copies escaped a fire,—speaks of his having obtained from a family near London maps of the American war, mostly about Boston, New York, and Philadelphia, made by Montresor, which were submitted to Marshall. There is a portrait and account of Montresor in Scull's Evelyns in America, 251.
Another important map is The Provinces of New York and New Jersey with part of Pensilvania and the province of Quebec, drawn by Major Holland, Surveyor-General of the northern district in America, corrected and improved from the original materials by Governr, Pownall, Member of Parliament. It was first published in London, June 15, 1775, and in a second edition, in 1776, there were added to it marginal maps of Amboy and the city and bay of New York. The Brit. Mus. Map, 1885, col. 2,969, shows the plates with different titles, dated 1775, 1776; also Frankfort, 1777, and London, 1777. Cf. the map in Mills's Boundaries of Ontario; the Evans map as reproduced by Jefferys, 1775 (see Vol. V. p. 85); the map in the American Atlas, and that of the country from the Chesapeake to the Connecticut, in the Gent. Mag., September, 1776.
The letters of Washington and Greene are still the main source of information for the evacuation of Fort Lee, which at once followed.[798]
It may be well now to note some of the contemporary maps of the whole campaign, as indicating the extent and character of the geographical knowledge then current. The earliest of these is one which appeared in the supplement (p. 607) of the Gentleman's Magazine, 1776, and is called a Map of the Progress of his Majesty's Armies. Two of the American household manuals, Low's Almanac (1776) and Isaac Warren's Almanac (1777), had the same rude cut, a fac-simile of which, with the key, is shown below.
LOW'S ALMANAC, 1777.
Key: A, Gen. Washington's lines on New York Island; B, fort at Powles Hook; C, Bunker Hill, near New York; D, the Sound; E, Kingsbridge; F, Hell Gate; G, Fort Constitution [Washington]; H, Mount Washington; I, Governor's Island.
A popular map (price one shilling) of The Country twenty-five miles round New York, drawn by a gentleman from that City, was also published in London, Jan. 1, 1777, by W. Hawkes, with a chronological table of events from Dec. 16, 1773, to Oct. 18, 1776.
Des Barres issued in London, Jan. 17, 1777, a large map, Plan of the operations of the army and fleet of Admiral and Lord Howe near New York, 1776,[799] and a more popular presentation of the same field was made in the Political Mag., vol. ii. p. 657. The earliest attempt at historical rendering, Capt. Hall's History of the Civil War in America (London, 1780), was accompanied by a map, a portion of which is here given in fac-simile; and Gordon (ii. 310), a few years later, gave an eclectic map, made in the main from American data.[800]
CAMPAIGN OF 1776. (Hall.)
A, the landing of the British near Utrecht on Long Island, under cover of the "Phœnix", "Rose", and "Greyhound", with the "Thunder" and "Carcass" bombs, Aug. 22, 1776; B, pass at Flatbush and field of action where the rebels were defeated, Aug. 27th; C, British and Hessian encampment, Aug. 28th; D, encampments of the British army, Sept. 1st; E, embarkation of the British troops at Newtown Inlet, and then landing at New York Island, Sept. 15th; F, skirmish on Vanderwater's Height, the rebels retiring, Sept. 16th; G, route of British in boats to Frog's Neck, Oct. 12th; H, several corps of British troops in boats go to Pell's Point, Oct. 18th; I, skirmish, rebels routed, Oct. 18th. Then followed fighting at Mararo Neck (shown on the full map), the rebels retreating, Oct. 21st; on the road to Kingsbridge, Oct. 23d; again approaching White Plains, Oct. 28th; at Brunx's River, Oct. 28th; followed Nov. 1st by the rebel evacuation of their intrenchments near White Plains, and by Cornwallis's landing on the Jersey shore, Nov. 18th. Q, attack on Fort Washington, Nov. 16th; R, Fort Lee surprised, Nov. 20th.
In giving detailed references for the several stages of the campaign, the letters from and to Washington have been a source of the first importance; and beside those given by Sparks in his printed works, there are others registered in the Sparks MSS. (no. xxix.), the Heath Papers (Mass. Hist. Coll., xliv.), not to name less important gatherings,[801] all of which form a general running commentary on events of the summer's and autumn's campaign, which could be further elucidated by the memoirs of Heath and Graydon, the lives of Reed and Greene, and by various diaries on both sides.[802]
CAMPAIGN ABOVE NEW YORK, 1776.
A section of a large Hessian map in the library of Congress, Plan général des opérations de l'armée Britannique contre les Rebelles, etc. The lines (·—·—) represent roads. Key: "3, Marche du général de Heister et le camp qu'il occupa le 14me Juin.—-S, Les batteries faites à Remsen's Mill à Hell Gate. T, Lieu du rendezvous donné aux troupes destinées à faire une descente sur York islande. U, Les vaisseaux de guerre postes pour proteger cette descente. V, Descente de l'armée sur York island. W, Position d'une partie de la première division après la descente. Y, Redoutes de l'armée devant son camp. Z, Où le général Howe, après avoir laissé le général Percy sur York island, debarqua et campa avec le général de Heister le 12me Oct., 1776.—a, Descente du général Clinton à Pell's point le 18 Oct. b, Camp de l'armée depuis New Rochelle jusqu'à Pell's Point. c, Camp du général de Knyphausen après son arrivée avec la 2de division des Troupes Hessoises le 23me Oct. d, Marche de la colonne droite sous les ordres du général Clinton. e, Celle de la colonne gauche commandée par le général de Heister. f, Engagement du général de Heister avec l'enemis aux environs de White Plains [apparently not on the original map]. g, Position de l'enemis après sa retraite. h, Position de l'armée. i, Position des généraux Clinton et Heister à Dobbs' Ferry. k, Position de général Cornwallis à Courtland House. m, Campement de toute l'armée après que pleusieurs regiments laissés dans differents endroits par le général de Knyphausen l'eurent rejoints. n, La colonne droite du général de Knyphausen sous les ordres du Colonel Rall. o, Où le général Cornwallis se placa pour soutenir l'attaque du Fort Washington. p, Corps commandé par le général Matheu. q, Descente des troupes Angloises. r, Attaque du général Sterling vis-a-vis de Morris House. s, Batteries faites pour soutenir l'attaque. t, Batteries construites de l'autre coté du creek d'Harlem. u, Le fort du Washington avec ses lignes de defences. v, Attaque du général Percy."
There is among the Rochambeau maps (no. 24), measuring about 16 inches wide by 18 high, a map of the campaigns of 1776 and 1777, giving detail with considerable precision, and accompanied by a good key.
II. The Northern Campaign, 1776-1777.—Gates had taken command in Canada early in the summer of 1776, under instructions from Washington;[803] but as his army fell back within the department which had been assigned to Schuyler, questions of authority arose between them.[804]
The condition of the army during the summer is noted in Colonel Trumbull's Autobiography (p. 302), and in General Gates's returns of September 22, 1776, in 5 Force's American Archives (ii. 479).[805]
There is a list of armed vessels on Lake Champlain in 1776 in Letters and Papers, 1761-1776 (MSS. in Mass. Hist. Soc.). Arnold received his instructions from Gates.[806]
Arnold's reports on the fight near Valcour's Island, Oct., 1776, are dated Oct. 12 (to Gates) and Oct. 15 (to Schuyler).[807]
Waterbury's account to Congress, Oct. 24, is in Dawson (i. p. 173) and in Hadden's Journal (App.). Gen. Maxwell gave no very flattering account of Arnold's manœuvres in a letter from Ticonderoga, Oct. 20, in Sedgwick's Livingston (p. 209).[808]
On the English side, Carleton's despatch, Oct. 14, and Capt. Pringle's, are in Dawson (pp. 174, 175). The Hanau artillerist Pausch covers the fight in his journal.[809]
ARNOLD'S FIGHT. (Sparks's copy.)
Key: A, schooner "Carleton." B, the "Royal Savage" on shore, and burnt on the 11th of October. C, the "Inflexible." D, schooner "Maria." E, gondola "Royal Convert. F, radeau Thunderer." G, Point au Sable is forty-eight miles from Crown Point. H, The French vessels sunk here in 1759.
The map of the action accompanying Hadden's Journal (p. 23) is very similar to the Sparks map; and a marginal note says that the gunboats are from 30 to 36 feet long, and 10, 16, or 18 feet wide. Gen. Rogers thinks Hadden's map is based on Brassier, whose amended plate is in the American Pocket Atlas (1776). Rogers objects to the view that Arnold's retreat was round the north end of Valcour's Island (instead of the route marked on the map), as has been maintained by Palmer in his Lake Champlain, and by W. C. Watson in the Amer. Hist. Record (iii. 438, 501) and Mag. of Amer. Hist. (June, 1881, vol. vi. p. 414).
The earliest plan of this naval action seems to have been added to the then recently published plate of Lake Champlain, engraved after surveys by William Brassier, by order of Amherst,[348] in 1762,[810] which, with Jackson's survey of Lake George, was published by Sayer and Bennett, in London, Aug. 5, 1776. Some copies of the map with the same date show the position of Arnold's fight of Oct. 11. The plate has been altered at that point, and it is this section of the map which Lossing copies in his Field-Book[811] (i. 163) and in his paper in Harper's Monthly (vol. xxiii. p. 726). The annexed sketch is based upon a plan in the Sparks maps (Cornell University), kindly transmitted to the editor by the librarian.[812]
In the winter of 1776-77, Burgoyne had submitted to the government some "Thoughts for conducting the war from the side of Canada",—a paper which, barring some important changes, became the scheme of the summer's plans.[813]
The stages of the preparation in Canada can be followed in Force's American Archives; and references will be found in the Index to MSS. in the British Museum (particularly under "Canada" and "Burgoyne", in those acquired 1854-1875).[814]
The records of the Germans are mentioned in Lowell's Hessians (p. 117), and in the sources indicated by Mr. Lowell in another chapter of the present volume[815]
In the spring of 1777 St. Clair was designated for the command at Ticonderoga, the advanced post against the invasion of Burgoyne (St. Clair Papers). The light-headed Sullivan thought it unfair that he was not selected for the post (Correspondence of the Rev., i. 352). The British onset was appalling. James Lovell, in March, wrote, "It is plain that we must look forward for another summer's bloody work" (Mass. Hist. Soc. Proc., April, 1860, p. 9). Congress was emphasizing the stories of British brutality (Journals of Congress, ii. 97).
On May 22d Schuyler had been confirmed in his command of the Northern department, and Gates had gone to Philadelphia to lay his[349] grievances before Congress (Lossing's Schuyler, ii.; Irving's Washington, iii.). Burgoyne (Fonblanque, App. E) was talking to his Indians in June, and two days later he made his famous proclamation to frighten or allure the country people. Fonblanque (p. 23) is not unmindful of its unworthy bombast, and Lecky (vi. 64) says it was "greatly and justly blamed."[816]
There will be occasion later to enumerate the maps illustrating the successive stages and conflicts of the campaign; but it may be well at this point to append in a note the principal maps of the entire movement of the British army, which cover also the field of its actions on both flanks.[817]
The most important source respecting the siege and evacuation of Ticonderoga is the Proceedings of a General Court Martial, held at Whiteplains, N. Y., for the trial of Maj.-Gen. St. Clair, Aug. 25, 1778 (Philad., 1778).[818] It was reprinted in the Collections of the N. Y. Hist. Soc. in 1880. It includes various letters of Schuyler and St. Clair in June (pp. 14, 101, 121, etc.), the doings of the council of war, July 5th, which decided upon a retreat (p. 33), and the letters of St. Clair at Ticonderoga, and one to Hancock, July 14th, from Fort Edward (p. 69, etc.). Three days later, July 17th, St. Clair sent an account from Fort Edward to Washington, which, with the letter of Schuyler, likewise to Washington, is in Sparks's Corresp. of the Rev., i. 393, 400.[819] Much of this material is also included in the published St. Clair Papers.[820] Sparks had earlier added[350] copies of some of the St. Clair papers to his Collection of Manuscripts.[821]
On the English side, Burgoyne's letters are in Fonblanque's Burgoyne (p. 248), Gent. Mag., Aug., 1777, and Dawson's Battles. Anburey's Travels (letter xxx.) throws some light.
For the effect of the evacuation on the country, see Journals of Congress, iv. 719; Wells's Sam. Adams, ii. 485, 488; Diplomatic Correspondence of the Amer. Rev., i. 315. The apprehension felt in the adjacent country is shown in letters of Ira Allen and others in the N. H. State Papers, viii. 632, 633, 643, 644, 648, 651.
We have some contemporary maps of Ticonderoga previous to and during the siege. In August, 1776, Colonel John Trumbull made a plan which is engraved in his Autobiography (N. Y., 1841, p. 32),[822] and is reproduced herewith.[823] The map used at the trial of St. Clair is engraved in the Proceedings; and from a MS. copy made for Sparks, and now at Cornell University, the annexed sketch (p. 353) is drawn.
On the affair at Hubbardton, July 7th, the official accounts of St. Clair (July 14th) and Burgoyne (July 11th) are given in Dawson's Battles (i. 224, 229, 231), and other contemporary accounts in the Vermont Hist. Soc. Coll., i. p. 168, etc.[824]
In Burgoyne's State of the Expedition is a "plan of the action at Huberton under Brig.-Gen. Fraser, supported by Maj.-Gen. Riedesel, on the 7th July, 1777, drawn by P. Gerlach, engraved by Wm. Faden", and published at London, Feb. 1, 1780.[825] Three days later, Burgoyne (July 10) issued a proclamation to the inhabitants of Vermont, and Schuyler (July 13) made a counter proclamation.[826]
The chief sources of documentary evidence regarding the movements in 1777 around Fort Stanwix are 5 Force's Archives (vols. i., ii., and iii.) and the Gansevoort Papers (copies in Sparks MSS., lx.), including a letter of Arnold, August 22, 1777, dated at German Flats, which Sparks has indorsed "evidently intended to be intercepted." On the American side, we have further Colonel Willet's letter[827] to Trumbull, Aug. 11th, in Dawson (i. 248); the account in the Penna. Evening Post, given in Moore's Diary (i. 477); Wilkinson's Memoirs (pp. 204, 212); the[351] Journals of the New York Provincial Congress (vol. i.); and Sparks's Corresp. of the Rev. (ii. 578). Gordon gives some details from eye-witnesses, mainly through reports made to him by the Rev. Samuel Kirkland. Dwight picked up anecdotes about the battlefield in 1799, which he prints in his Travels (vol. iii.). The best eclectic accounts are those by William L. Stone, father and son,—the elder giving us his Life of Brant (i. ch. 10 and 11), and the younger, his Orderly-book of Sir John Johnson during the Oriskany campaign, 1776-1777, annotated by William L. Stone. With an historical introduction illustrating the life of Sir John Johnson, by J. Watts De Peyster. And some tracings from the footprints of the tories or loyalists in America contributed by Theodorus Bailey Myers (Albany, 1882), being no. 11 of Munsell's historical series.[828] The younger Stone's labors took a wider range in that portion of his Campaign of Lieutenant-Gen. John Burgoyne which is given to the expedition of St. Leger, though he followed in the main his father's Life of Brant. In the Orderly-book, just mentioned, however he modified some of his views.
There is rather too much of patriotic fervor for a discriminating analysis in a monograph, The Battle of Oriskany, its place in History, an address at the Centennial Celebration, Aug. 6, 1877, by Ellis H. Roberts (Utica, 1877), but it is in most respects valuable and a convenient gathering of information, not otherwise found without much trouble, and is well fortified with notes.[829]
The principal English source is the account by St. Leger.[830]
To illustrate the movements near Fort Schuyler or Stanwix, we have the plan made by Fleury in Sept., 1777, which is engraved in Stone's Life of Brant, i. p. 230,—the essential portion of which is given herewith.[831]
TICONDEROGA AND ITS DEPENDENCIES. August, 1776. J. T.
(Trumbull's Plan.)
TICONDEROGA, 1777. (Sketched from the St. Clair trial map.)
Key: A, old fort in very bad condition, wanting repair; could not be defended with less than 500 men. B, stone redoubt; about 200 men would defend it; overlooketh the line Y, opposite the Lake, in Fort Independence. C, block-house for 100 men. D, French redoubt upon the low ground for about 200 men, commanded by the opposite side. E, new breastwork for 200 men. F, new fleche for 100 men. G, new redoubt for 150 men. H, new redoubt for 100 men. I, redoubt upon the low ground for 250 men, commanded by the opposite side. K, Jersey redoubt upon the low ground for 300 men, commanded by the opposite side. L, redoubt upon the low ground for 100 men. M, redoubt upon the low ground for 100 men. N, French lines upon the high ground; overlooks all the works on Ticonderoga side; for 2,000 men and not less, considering the great length and importance of the place. O, P, Q, R, new works in addition to the French lines. S, high ground occupied by the enemy, and overlooks the French lines. T, Mount Hope; overlooks ground, S, occupied by the enemy. U, block-house burnt by the enemy. VV, high hill; overlooks Ticonderoga and Mount Independence. X, the bridge [and boom]. Y, line upon the low ground, commanded by the opposite side (B), for 800 men. Z, barbet battery.
1, sloops. 2, line only marked upon the ground. 3, picket-fort for 600 men. 4, block-house for 100 men. 5, 6, line with three new-made batteries for 1,500 men and not less. 7, block-house for 100 men. 8, battery made by the enemy. 9, road made by the enemy to cut off the communication from Mount Independence to Skenesborough.
The drawn plan in Hadden's Journal (p. 83) speaks of the lines protecting Fort Independence on the land side as being made "of logs thrown up but not completed", from which a "path for cattle" led to Hubbardton. Mount Defiance is called "Sugar Loaf Hill." The English are represented as landing at the point marked "Camp", and the Germans on the opposite shore. Gen. Phillips took the position on Mount Hope. Lossing (Field-Book, i. 131) gives a view from the top of Mount Defiance. A description of the fortifications about Ticonderoga, from Riedesel's Memoirs, is in Stone's Campaign of Burgoyne (p. 434).
The position of the ground as shown by Fleury can be compared with that of a Topographical map of the country between the Mohawk River and Wood Creek, from an actual survey taken in Nov., 1758, which is engraved from the original MS. (in the N. Y. State library) in the Doc. Hist. N. Y. (quarto ed. iv. p. 324), where will also be found (p. 327) a detailed plan of Fort Stanwix, as erected in 1758 (see Vol. V., p. 528).[832]
Respecting the action (Aug. 16th) at Bennington, General Lincoln sent the first accounts to Schuyler, who transmitted them to Washington (Sparks's Corresp. of the Rev., i. 425). Stark's letter to Gates, of Aug. 22d, is in Wilkinson's Memoirs (p. 209); Vermont Hist. Coll. (i. 206); Dawson's Battles (i. 260). His letter of the same day to the Council of New Hampshire is in the N. H. State Papers, viii. 670. The papers of Stark were used by Sparks in copies in the Sparks MSS. (no. xxxix.).[833]
There is in the Gates Papers (copies in Sparks MSS., xx.) an "account of the enemy's loss in the late action of the 16th Aug., 1777, near Bennington",—amounting to 991 killed, wounded, and prisoners; Hessians, Canadians, and Tories. American loss, killed, between twenty and thirty; wounded, not known.[834]
Burgoyne's original instructions to Baum are in the cabinet of the Mass. Hist. Soc.,[835] and are printed in their Collections (vol. ii.).[836]
Letters of Baum and Burgoyne, Riedesel's report to the Duke of Brunswick, Breymann's report[837] to Burgoyne, and Burgoyne's reports to Germain, are in the Documents in relation to the part taken by Vermont in resisting the invasion of Burgoyne (Vt. Hist. Soc. Coll., vol. i. pp. 198, 223, 225); Dawson's Battles (i. 261-264); Eelking's Riedesel (iii. 184, 210, 261). A long account by Glick, a German officer, is also in the Vt. Hist. Coll. (i. 211). On the jealousy of the British and Hessians, see a letter by Hagan in the N. E. Hist. and Geneal. Reg. (1864, p. 33).[838] An account "by a gentleman who was present" is copied from the Penna. Evening Post, Sept. 4th, in Moore's Diary of the Rev. (p. 479). A narrative by the Rev. Mr. Allen in the Connecticut Courant, Aug. 25th, is copied in Smith's Pittsfield, Mass.[839]
FORT STANWIX OR SCHUYLER
Key: A, Fort Schuyler. B, Flagstaff, 3 guns. C, Northwest, 4 guns. D, Northeast, 3 guns. E, Southeast, 4 guns. F, Powder magazine. G, Laboratory. H, Barracks. I, Hornwork begun. J, Drawbridge. K, Covered way. L, Glacis. M, Sally-port. N, Commandant's quarters. O, Willett's attack. The following are British batteries, etc. 1, three guns. 2, four mortars. 3, three guns. 4, redoubts to cover the batteries. 5, lines of approaches. 6, British encampment. 7, Loyalists. 8, Indians. 9, ruins of Fort Newport. There is a copy of the map made for Mr. Sparks among the Sparks Maps at Cornell University.
The local aspects of the fight are touched upon in Hall's and other histories of Vermont,[840] and the general authorities necessarily enlarge more or less upon it, as an episode.[841] At the first anniversary of the Bennington fight, in 1778, a speech was made by Noah Smith,[356] which was printed at Hartford in 1779, and is reprinted in the Vermont Hist. Coll. (i. p. 251). On Oct. 20, 1848, James D. Butler gave an address before the Legislature of Vermont, which "contained original testimonies of witnesses now long dead, and notes from papers since burned in the Vermont State House." When printed at Burlington, in 1849, it was accompanied by an address by George Frederick Houghton on the life and services of Col. Seth Warner.[842] The centennial observances of 1877 produced several memorials.[843]
Gen. Carrington (Battles, p. 334) gives one of the best plans of the Bennington fight. There is among the Sparks MSS. (no. xxviii.) a sketch map, with this indorsement by Mr. Sparks: "Drawn by Mr. Hiland Hall, Bennington, Oct. 13, 1826. Very accurate. Ground examined by myself at the time." It shows the Walloomsack River (a branch of the Hoosick River) with the skirting road to Bennington, three times crossing the river. On this road, going up stream, are marked (in order) the beginning of the second action, the hill where the stand was attempted, the places where Breyman was met by Warner, where the cannon were posted in the first battle, and the line of Stark's advance.
In Burgoyne's State of the Expedition is a plan called "Position of the Detachment under Lieut.-Col. Baum, at Walmscook, near Bennington, shewing the attacks of the enemy on the 16th of August, 1777, drawn by Lieut. Durnford, engineer; engraved by Wm. Faden", and published at London, Feb. 1, 1780.[844]
Meanwhile Schuyler was gathering an army as best he could. In July he wrote to Heath that its spirits were recovering (Heath Papers, i. 300). The militia were called out early in August to assist him (Journals of Congress, ii. 214). W. L. Stone tells the story of Moses Harris, his faithful spy, in the Mag. of Amer. Hist. (ii. 414). The discontent with Schuyler on the part of the politicians was beginning to be shaped to party measures, and led to his being superseded in August by Gates, while a battle was imminent, as Schuyler thought.[845]
Bancroft (vol. ix.) does not hold Schuyler free from the responsibility of the ill success of the campaign up to this time; but he is controverted by G. W. Schuyler in his Correspondence and Remarks upon Bancroft's History of the Northern Campaign; by Lossing in his Schuyler; and by J. W. De Peyster in the Mag. of Amer. Hist. (February, 1877, vol. i. 134).[846]
Burgoyne meanwhile (August 26) was writing to Germain that the campaign was looking badly, and the loyalists not as helpful as he hoped. The conflict which Schuyler thought impending took place September 19, and is variously known as the battle of Freeman's Farm, or Stillwater, or the first battle of Bemis's Heights. Gates had already appealed to the Green Mountain boys for assistance, as the records of the Vermont Council of Safety show (Stevens, Bibl. Geog., 1870, no. 693). Gen. Glover's letters to James Warren during Aug. and Sept. are in the Sparks MSS. (no. xlvii.) and in Upham's Glover, and his account of the battle of the 19th is in Essex Institute Hist. Coll. (v. no. 3). Col. Varick's letter to Schuyler is in the Sparks MSS., lxvi. Wilkinson gives the best account of any participant (i. ch. 6), and his letter of Sept. 20 is in Dawson (i. 301). Gates's letter[357] to Congress, Sept. 22, is also in Dawson (i. 301). Gordon gives the American loss.[847]
The question of Arnold's participancy in the battle of the 19th, while the left wing—his own command—was engaged, has been the subject of controversy.[848]
The attempt of an American force to cut Burgoyne's line of communications by the lakes is described in the "Fight at Diamond Island", Sept. 24, by De Costa, who gives the official report of Col. Brown (N. E. Hist. and Geneal. Reg., 1872, p. 147). These evidences come mainly from the Gates Papers, and are recapitulated in Stone's Campaign of Burgoyne (App. 10).
Respecting the action of Oct. 7, the earliest official accounts are in Glover's letter of Oct. 9, and in Gates's to Congress, of Oct. 18,—both of which are reprinted by Dawson (i. 302, 303). James Wilkinson's letter of Oct. 9 is in the New York Archives, with various other letters of the campaign (Sparks MSS., no. xxix.). A letter of Oliver Wolcott from Bemis's Heights is in the Trumbull MSS. (vol. vii.). The lives of Arnold (by I. N. Arnold, ch. 10, etc.) indicate his important influence on the field, where he was wounded.[849]
On the action of Col. Brooks in the field see Mass. Hist. Soc. Proc. (vii. 478). There is an account by Samuel Woodruff, an eye-witness, in the appendix of An account of Burgoyne's Campaign and the memorable battles of Bemis's Heights, Sept. 19th, and October 7th, 1777, from the most authentic resources of information, including many incidents connected with the same, by Charles Neilson (Albany, 1844).[850]
The story of Major Acland and Lady Acland[358] has long been one of the romantic episodes of the campaign. The family account is given by W. L. Stone in the Mag. of Amer. Hist. 1877 (iv. 50), and Jan., 1880, and in Lippincott's Mag., Oct., 1879.[851]
The various stages of the negotiations which resulted in what is known as the "Convention" can be followed in the documents given in Fonblanque (p. 306); Wilkinson's Memoirs (pp. 304, 306, 317); Dawson (i. 303); Stedman's Amer. War; Stone's Campaign of Burgoyne (p. 102); and O'Callaghan's Orderly-Book of Burgoyne. The original definitive articles are in the N. Y. Hist. Soc., and fac-similes of the signatures are in Lossing's Field-Book (i. 79).[852]
Wilkinson carried the news of the surrender to Congress (Wilkinson's Memoirs; Wells's Sam. Adams, ii. 494). Gates describes his own success to his wife (Moore's Diary, 511). Chaplain Smith gives some details of the meeting of Gates and Burgoyne (Chaplain Smith and the Baptists, p. 222). There are reminiscences in Surgeon Meyrick's letter in Trumbull's Autobiography (p. 301), and papers in Pennsylvania Archives (vol. v.). Recollections of Gen. Ebenezer Mattoon, an actor in the scene as written out in 1835, are in the Appendix (no. 13) of Stone's Campaign of Burgoyne. The comment of Wm. Whipple is in N. H. State Papers, viii. 707. Burgoyne's letter from Albany, Oct. 20, to Germain is in his State of the Expedition.[853]
De Lancey (App. p. 674, to Jones's New York during the Rev.) collates the authorities on the strength of the respective armies. Gates's returns of his army (11,098) are in the Gates MSS. Burgoyne, in his State of the Expedition, gives Gates's returns as 18,624,—the difference may be the number of sick and furloughed men. Burgoyne praised Gates's men after he had seen them (Fonblanque, 316). The numbers of Burgoyne's army are given in Appendix D in Fonblanque. The question is also examined in the App. of Stone's Campaign of Burgoyne. Gordon (Amer. Rev., ii. 578) gives the number surrendered at 5,791; but there is a great difference in the estimates. Alexander Scammell makes it 10,611 in Letters and Papers, 1777-80 (Mass. Hist. Soc. Cabinet). In the Stark MSS. is a table of Burgoyne's losses (14,000), covering the whole campaign, and put into verse (Sparks MSS., xxxix.).[854]
Respecting the campaign as a whole, the best contemporary accounts on the American side are found in the official correspondence as embraced in Sparks's Washington (iv. 486, etc.) and Correspondence of the Revolution (vol. ii., App.), and in the letters of the commanding generals.[855]
Various important letters are put in evidence in the Proceedings of the general court martial for the trial of Maj.-Gen. Schuyler, Oct. 1, 1778 (Philad., 1778).[856]
An account of Alexander Bryan, Gates's chief[359] scout, is in the App. of Stone's Campaign of Burgoyne.
There are among the copies of the Lincoln Papers in the Sparks MSS. (xii.) various letters, etc., respecting the campaign against Burgoyne. The earliest is one from Gen. Schuyler to Lincoln, dated at Saratoga, July 31, 1777, and the last is one from Lincoln to Gov. Clinton, Oct. 5, 1777, expressing anxiety lest Putnam should not be able to resist Gen. Clinton, to whom Burgoyne in his straits was looking for relief.[857] At a later day Lincoln wrote a long letter from Boston, Feb. 5, 1781, to John Laurens, recounting his part in this campaign from the time of Gates's taking command to the date of Lincoln's being wounded, Oct. 8th (Sparks's Corresp. of the Rev., ii. 533).
Various letters of Henry Brockholst Livingston during the Northern campaign of 1777 (June-Aug.), only parts of which are printed in Sedgwick's Livingston, are among the papers of Gov. William Livingston, which, when Sparks made his copies in 1832 (Sparks MSS., lii., vol. iii.) were in the possession of Theodore Sedgwick, Jr. Other letters will be found in the Trumbull MSS. (Mass. Hist. Soc.)[858]
The campaign of Burgoyne has necessarily made part of the labors of the general historians. Gordon and Ramsay were among the earliest, on the American, and Stedman (i. ch. 16) on the English side. Of the later writers, Bancroft gives it three chapters (21, 22, 24) in his original edition, and four in his final revision[859] (10, 11, 12, 13). Lowell finds it an important section of his history of the German auxiliaries (Hessians, p. 221, etc.). The lives of principal participants, like Arnold, Lincoln, Gates, and Schuyler on the American side, cover it.
A recent life of Morgan, The Hero of Cowpens, by Rebecca McConkey (N. Y., 1881), would claim for the Virginian the praise which is usually given to Arnold. The general surveys of Marshall (iii. ch. 5) and Irving (iii. ch. 9-22) brought it within the scope of their lives of Washington; and J. C. Hamilton's Republic of the United States includes it. Local aspects are treated in Dunlap's New York; Holden's Queensbury (p. 433); Hollister's Connecticut; Hinman's Connecticut during the Revolution (p. 112); and Mrs. Bonney's Historical Gleanings (i. 58). Robin's New Travels (letter 12) gives the current accounts prevailing a little later.
The earliest considerable monographic narrative was Charles Neilson's Original, Compiled and Corrected Account of Burgoyne's Campaign, and the Memorable Battle of Bemis's Heights, September 19, and October 7, 1777, from the most Authentic Sources of Information, etc. (Albany, 1844).
The most devoted chronicler of the campaign, however, is the younger William L. Stone (b. 1835), who published Reminiscences of Saratoga and Ballston in 1875, an article on "Burgoyne in a new light" in The Galaxy (v. 78), and one[361] on the campaign in Harper's Monthly in 1877 (vol. lv. p. 673), and in the same year the most important work on the subject yet produced, The Campaign of Lieutenant-General John Burgoyne and the Expedition of Lieutenant-Colonel Barry St. Leger, which draws from every important help to the study of the military movements which had been so far brought to light. In the next year (1878), Mr. Stone prepared the Memoir of the Centennial Celebration of Burgoyne's Surrender, Schuylerville, Oct. 17, 1875. It included an historical address by Mr. Stone himself, others by Horatio Seymour and George William Curtis.[860]
The English later writers have been in the main fair in their statements. Mahon (vi. 191), while praising the army of Gates, denies him the merit of its successful conduct, giving it essentially to Stark and Arnold. The American student finds little to question in the unusually impartial narrative embodied in Edward Barrington De Fonblanque's Political and Military episodes in the latter half of the Eighteenth Century, derived from the life and Correspondence of John Burgoyne (London, 1776).[861]
On the German side the main sources are Max von Eelking's Die Deutschen Hülfstruppen im nord-amerikanischen Befreiungskriege, 1776-1783 (Hannover, 1863,—2 vols.), who gives chapters 7 and 8 to this campaign; the same writer's Leben und Wirken des Herzoglich-Braunschweig'schen General-lieutenants Friedrich Adolph von Riedesel (Leipzig, 1856,—3 vols.) and Generalin von Riedesel's Berufs-Reise nach Amerika (Berlin, 1801), both of which Riedesel memoirs have been translated by W. L. Stone.[862]
The succession of battles and movements preceding the final surrender of Burgoyne have been well mapped.[863]
Note.—The main British map of the attack of Clinton and Montgomery (Oct. 6, 1777) is one made by John Hills, and published in London by Faden, Jan., 1784, a portion of which, showing the detail, is annexed. The same map is used by Stedman (i. 362), and there is a reduction in the Catal. of Hist. MSS. rel. to the War of the Rev. (Albany, 1868, ii. 298), and in the illus. ed. of Irving's Washington, iii. 244. Cf. also the maps in Sparks's Washington (v. 92); Harper's Mag., lii. 648; and in Lossing's Field-Book, ii. 166. Original MS. drafts, showing the attack on the forts, made by Holland, by the Hessian Wangenheim, and by others, are among the Faden maps (nos. 70-73) in the library of Congress. Holland's surveys were followed in the plans of Montgomery and Clinton (1777) by Lieut. John Knight, of the Royal Navy.
Respecting the diversion of Clinton in Burgoyne's favor, the letters of Putnam, whose business it was to hold the passes of the Hudson against the British, are in Sparks's Washington (v. App. p. 471), and in his Correspondence of the Revolution (i. 438; ii. App. 536, etc.), and in the Western Reserve Hist. Soc. Tracts, no. 46.[864] Dawson, beside the despatch of Putnam to Washington on the capture, gives also George Clinton's to Washington (i. 341, 342).[865] Contemporary American accounts of the capture and of the burning of Kingston are in Moore's Diary (p. 506, 510); and a narrative, by G. W. Pratt, of the Kingston episode is in the Ulster Hist. Soc. Coll. (i. 107).
On the British side, Sir Henry Clinton's despatches are in Almon's Remembrancer (vol. v.), and that to Howe of Oct. 9th is in Dawson (i. 344), with one from Commodore Hotham to Howe (p. 346).[866]
The maps of the Hudson already enumerated are of use in the study of this movement.[867] Plans of intended works (1776) and obstructions in the river near Fort Montgomery are given in the Calendar of Historical MSS. relating to the War of the Rev. (Albany, 1868, vol. i. 474, 616),[868] and a MS. plan of William A. Patterson, first lieutenant, 15th reg., April 22, 1776, is in the Heath MSS., i. 246 (Mass. Hist. Soc.).
The correspondence of the committee of Congress with the commissioners in France, regarding the effect of the surrender of Burgoyne, is in Diplomatic Correspondence (i. 338, 355). Cf. Stuart's Jonathan Trumbull. Jonathan Loring Austin, dispatched by the Massachusetts authorities, carried the first intelligence to France.[869] Schulenberg wrote to the commissioners from Berlin (Diplom. Corresp., ii. 120), and Izard replied (Ibid., ii. 370).[870]
Burgoyne sailed from Rhode Island for England in April, 1778.[871] On arriving, he had an early interview with Lord George Germain, but the king refused to see him. He appeared in Parliament,[872] where he had earlier been a firm but not bellicose upholder of the government,[873][365] on May 21st, and on the 26th and 28th made speeches in his own defence, which were published in London, June 16, 1778, as The substance of General Burgoyne's speeches, ... with an appendix containing Gen. Washington's letter to Gen. Burgoyne.[874]
The king, piqued at finding Burgoyne on the side of the opposition in Parliament, ordered him to return to his imprisoned troops, and, rather than go, the general resigned his civil and military offices, and printed an explanation in A letter from Lieutenant-General Burgoyne to his constituents, with the correspondence between the secretaries of war and him, relative to his return to America (London, 1779).[875]
ATTACK ON CLINTON AND MONTGOMERY.
After the plan in Leake's Life of Lamb, p. 176. The legend in northwest corner of the map reads by error "Halt of the right [should be left] column." Other eclectic maps are given in Sparks's Washington, v. 92; in Boynton's West Point; and in Carrington's Battles, p. 362.
Lord George Germain, or, as some have thought, Sir John Dalrymple, published a Reply to Lieutenant-General Burgoyne's letter to his[366] constituents[876] (London, 1779), pronouncing it a libel upon the king's government, and this was seconded by an anonymous Letter to Lieutenant-General Burgoyne on his letter to his constituents (London, 1779).[877]
The further controversy over Burgoyne's failure includes the following publications:—
A brief examination of the plan and conduct of the Northern expedition in America in 1777, and of the surrender of the army under the command of Lieutenant-General Burgoyne (London, 1779),—a severe attack.[878]
An Enquiry into and remarks upon the Conduct of Lieutenant-General Burgoyne; the plan of operations for the campaign of 1777; the instructions from the Secretary of State, and the circumstances that led to the loss of the northern army (London, 1780).[879]
Essay on modern martyrs, with a letter to General Burgoyne (London, 1780),[880]—charging him with being the personal cause of his own misfortunes.
In addition, there were some publications reviewing the conduct of Howe's as well as Burgoyne's campaigns in 1777, which will be noticed in another place.
Burgoyne's main defence against all these charges appeared in his A State of the Expedition from Canada as laid before the House of Commons, with a collection of Authentic Documents, and an addition of many circumstances which were prevented from appearing before the House by the Prorogation of Parliament, written and collated by himself, with plans (London, 1780).[881] In his introduction Burgoyne says, that, being denied a professional examination of his conduct, and disappointed in a parliamentary one, he was induced to make this publication.[882]
This publication was followed by A Supplement to the State of the Expedition from Canada, containing Gen. Burgoyne's Orders respecting the Principal Movements and Operations of the Army to the Raising of the Siege of Ticonderoga (London, 1780).[883]
Burgoyne was attacked in return in the following: Remarks on General Burgoyne's State of the Expedition from Canada (London, 1780),[884] being a defence of the ministry, and holding that Burgoyne had forfeited all claims to pity. A letter to Lieutenant-General Burgoyne occasioned by a second edition of his State of the Expedition, etc. (London, 1780).[885] Fonblanque (ch. viii.) portrays the effect in England of the parliamentary inquiry. Cf. Macknight's Burke (ch. 30). The Rev. Samuel Peters' reply to Burgoyne in the Appendix of Jones's New York during the Revolutionary War (vol. i. p. 683).
The Centennial Celebrations of the State of New York (Albany, 1879) gives the addresses of that period, by M. I. Townshend and John A. Stevens.[886]
THE STRUGGLE FOR THE DELAWARE.—PHILADELPHIA UNDER HOWE AND UNDER ARNOLD.
BY FREDERICK D. STONE,
Librarian of the Historical Society of Pennsylvania.
"THESE are the times that try men's souls. The summer soldier and the sunshine patriot will in this crisis shrink from the service of his country, but he that stands it now deserves the love and thanks of man and woman."
So wrote Thomas Paine, December 19, 1776. The preceding month had been fraught with adversity. The loss of Fort Washington on the 16th of November had rendered Fort Lee useless, as with it alone the passage of the river could not be obstructed. Its evacuation was immediately ordered, and the ammunition and some of the guns were removed. Before all could be taken away, however, the fort became the object of the enemy's attention. On the night of the 19th, two columns under Cornwallis, composed of British and Germans, with a detachment from the fleet, in all about six thousand men, crossed the river and landed at Closter dock, seven miles above Fort Lee, then commanded by General Greene. The night was stormy, and the movement escaped the notice of Greene's sentries. By morning the sailors had dragged the artillery to the top of the Palisades, and everything was ready for an advance upon the fort. Greene was informed of the landing of Cornwallis, and immediately took steps to secure a retreat for his command, then numbering about three thousand men. Word was sent to Washington, who was at the village of Hackensack with the troops which he had brought with him from White Plains. In three quarters of an hour the commanding general was at Greene's side. Seeing that the fort was not tenable, he ordered a retreat. No time was to be lost; and leaving the tents standing, the kettles over the fires, and such stores as could not be removed, the troops were hurried towards the advancing enemy with such speed that they gained the road leading to the only bridge over the Hackensack before Cornwallis could intercept them.
The situation of the Americans was now more precarious than it had been at Fort Lee. They were in danger of being shut in between the Hackensack and Passaic rivers; they were in a perfectly flat country, without intrenching tools or camp equipage; their right flank could be turned[368] and their line of retreat threatened if the British should land a force at the head of Newark Bay or at Amboy. Washington's forces were greatly reduced by reverses and by desertions. Nearly all that were left were militia of the flying camp, called out for an emergency, and impatient to return home, as their time of service had nearly expired. Small as his numbers were, Washington was obliged to post some at Amboy and others at Brunswick, to protect his flanks. As those remaining were insufficient to hinder the advance of the enemy in his front, he ordered Lee, whom he had left in command on the east of the Hudson, to cross that river and join him, and, with hardly three thousand men, Washington began his retreat through the Jerseys.
On the 21st he was at Aquacknoc Bridge on the Passaic, and by the 23d at Newark. On the 28th he left Newark, the advance-guard of the British entering the town as his rear-guard quitted it, and the next day he arrived at Brunswick. Here an attempt would have been made to prevent the enemy crossing the Raritan, but the stream was fordable in a number of places. As the British approached, the Jersey and Maryland brigades, whose terms of service expired that day, refused to stay an hour longer, and as the British crossed the river the line of march was again taken up for Trenton. This point was reached on the 2d of December, two brigades having been left at Princeton, under Stirling, to watch the enemy.
Having seen his stores and baggage safely over the Delaware, and being reinforced by about twelve hundred militia from the neighborhood of Philadelphia, Washington faced about on the 6th, with such men as were fit for service, and set out to join Stirling at Princeton.
It had not been the intention of Howe, when he ordered Cornwallis over the Hudson, to do more than take possession of and hold East Jersey, and Cornwallis's orders did not permit him to go beyond Brunswick. But the slight opposition which Washington was able to offer to the British advance excited in Howe the hopes of capturing Philadelphia, and he joined Cornwallis in person at Brunswick. After a short halt, he pushed on towards Stirling at Princeton, and before Washington could reach that general Stirling was in full retreat, to avoid being intercepted. A retrograde movement was ordered, and by the 8th the American army was on the west bank of the Delaware. The advance of Cornwallis's column reached the river before the rear-guard of the Americans had landed on the Pennsylvania side; but as Washington had secured all the boats for a considerable distance above and below Trenton, his position was comparatively a safe one. Here for a time he rested his men, and urged upon Congress the necessity of raising additional troops, and the importance of preparing for the defence of Philadelphia, as the military stores were in that city.
In his retreat through the Jerseys, Washington was greatly embarrassed by the conduct of General Charles Lee. The instructions he had given Lee on the 17th of November to join him may have been discretionary, but the language and frequency of his orders left no doubt of the expectations[369] of the commander-in-chief. But Lee chose to read the orders in the light of his wishes. On the east of the Hudson he had an independent command, which he purposed to retain as long as he could. Schemes and suggestions that should have had no weight were allowed to delay his passage over the river until December 2d, and then his advance was slow and hesitating. The prospect of receiving reinforcements from the Northern army, which would make his command equal to that of Washington, strengthened his wish to act independently. He proposed, as soon as the troops from the north should join him, to attack the rear of the enemy. While this plan may not have been devoid of military judgment, it is doubtful if it would have had more than a temporary effect on Howe's movements, while it would have deprived Washington of the reinforcements he so greatly needed. Notwithstanding Washington's explicit directions to avoid the enemy in joining him, Lee hung so close to the enemy's flank as to leave a doubt of his real intentions, and on the morning of the 13th, just after having put on record that he believed Washington to be "damnably deficient", he was surprised and taken prisoner by Lieutenant-Colonel Harcourt, at White's tavern, near Baskingridge, three miles from his camp.
CHARLES LEE
From Murray's Impartial Hist. of the Present War, i. p. 478.
The estimation in which Lee was held gave an undue importance to his capture. The British thought that in it they had deprived their opponents of nearly all the military science they possessed, and they styled him the American Palladium. With the Americans he had many friends, who were flattered that a soldier of European distinction should have espoused their cause, and, dazzled with his success at Charleston, they rated him higher than Washington, and, unintentionally perhaps, weakened the confidence that should have been reposed in the commander-in-chief by his subordinates.
Having failed to overtake Washington in New Jersey, Howe turned northward to Coryell's Ferry, fifteen miles above Trenton, in hopes of finding boats to enable him to cross the Delaware; but in this he was disappointed. He then took post at Pennington with a portion of his force, while with the[370] remainder he returned to Trenton, repaired the bridges below the town which the Americans had destroyed, and extended his line as far as Burlington.
So great was the terror spread through New Jersey as the British advanced, that many of her citizens took advantage of the amnesty which was offered by the Howes to all who would put themselves under their protection within sixty days from the 30th of November. Chief among these was Samuel Tucker, president of the Committee of Safety, who had held many positions of honor and trust. Nor was this defection confined to the east side of the Delaware. It was now that Joseph Galloway, and citizens of Philadelphia, like the Allens, who had supported the cause of the colonies until independence became the avowed object of the war, sought safety within the British lines. But the influence which their conduct might have exercised upon the people was neutralized by what was soon endured at the hands of the British and Hessian troops. Never before had any of the colonies been exposed to the unbridled impulses of a mercenary and licentious soldiery. Houses were plundered and their contents destroyed in mere wantonness, women were forced to submit to indignities, and all the horrors which usually attended the invasion of a European country by a foreign army in the eighteenth century were transferred to the soil of New Jersey.[887]
In Philadelphia the excitement was intense. On the 28th of November a meeting was held in the State House yard to consider the condition of affairs. It was addressed by Mifflin, who had been sent to the city to warn Congress of the danger which threatened the army. He spoke with animation, and endeavored to rouse the people to action. His efforts met with some success, and in a few days the troops that reinforced Washington prior to his retreat into Pennsylvania were in motion. On the 30th the Council of Safety advised the citizens to prepare, upon short notice, to remove their wives and children to places of safety. On December 2d, when it was known in the city that Howe's army was at Brunswick, crowds gathered at the Coffee House to learn the news. The stores and schools were closed, and all business was suspended. No one was allowed to cross the Delaware without a pass, while recruiting parties with drums beating paraded in the[371] streets. The roads leading from the city were crowded with vehicles of every description, bearing the families of citizens and their effects to places of refuge.
AN APPEAL.
Reduced from an original in the library of the Historical Society of Pennsylvania.
When these means of transportation failed, the water craft on the Delaware was pressed into service. Women with children in their arms were crowded in smoky cabins so low that they could not sit upright, while the younger girls were quartered on the decks, from whence they were driven by the snow and rain. But sadder sights presented themselves in the streets of the city. The sick of the army arrived daily. Many of the men had gone to the field clad only for a summer campaign. They had succumbed to exposure, and had reached Philadelphia in an almost naked condition. Measures were at once set on foot for their relief. Vacant houses were taken for their accommodation. The most seriously afflicted were sent to the hospitals, while committees of citizens went from door to door begging clothing for their use.
BROADSIDE.
Reduced from an original in the Historical Society of Pennsylvania.
Handbills were issued giving information of the advance of the enemy, and to awaken the indignation of the people printed sheets were circulated describing the insults to which the women of New Jersey had been subjected. Some of the citizens refused to take the Continental money, as it was rumored that Congress would soon disperse. On the 11th of December Congress requested Washington to contradict this rumor in general orders, and to assure the army that the delegates would remain in Philadelphia until it was certain the enemy would capture the city. It was well that Washington exercised his discretion in this matter, for the next day the crushing news was known throughout the city that he had been obliged to cross the Delaware. Congress at once adjourned to Baltimore, having first conferred on Washington "full power to order and direct all things relative to the department and to the operations of the war."
The state of political affairs in Pennsylvania was the chief cause of the inefficiency which exposed Philadelphia to the danger of capture and of the panic with which her citizens were seized. The old colonial charter had been abrogated, but the new constitution had not been put into effect, and the condition of society bordered upon anarchy.
For two weeks after Washington had retreated across the Delaware there seemed little chance of impeding the British advance. "Day by day the little handful was decreasing, from sickness and other causes." The services of all the regular troops in it, with the exception of those from Virginia and Maryland, expired on the first of the year, and the militia could not be depended upon. "They come", wrote Washington, "you cannot tell how, go you cannot tell when, and act you cannot tell where, consume your provisions, exhaust your stores, and leave you at last at a critical moment." "These", he said again to Congress, on the 20th of December, "are the men I am to depend upon ten days hence." On Congress he urged the importance of raising at once an army upon a more substantial basis, and impressed upon those around him the necessity of the utmost vigilance. But in the anguish of the moment he wrote to his brother: "If every nerve is not strained to recruit the new army with all possible expedition, I think the game is pretty nearly up.... I cannot entertain the idea that [our cause] will finally sink, though it may remain for some time under a cloud."
Each day brought new difficulties to be overcome. When it was learned that the fleet that had sailed from New York had appeared off New London, the march of a portion of Heath's troops, which had been ordered from Peekskill, was countermanded, and three regiments from Ticonderoga were directed to halt at Morristown, where about eight hundred militia had been collected, and General Maxwell was sent to command them. On the 20th, the troops under Gates and Sullivan joined Washington. The former had been sent by Schuyler. Sullivan's division was that which had been commanded by Lee up to the time of his capture.[374] Washington had been led to believe that a portion of these troops had reënlisted, and he had been waiting until they should join him to strike a blow at Howe's forces. Only a small number of the men had done so, however, and he found that on the first of the year he would have but fifteen hundred men independent of the militia. It was evident, therefore, that the blow must be struck at once.
On the 14th of December the British troops went into winter-quarters. They were stationed at Brunswick, Princeton, Trenton, and Bordentown. Howe returned to his easy quarters in New York. Cornwallis obtained permission to visit England, and left Grant at Brunswick in command of New Jersey. The troops at Trenton were under the Hessian, Lieut.-Col. Rahl; those at Bordentown were commanded by his superior, Count Donop, who had some outposts as far south as Burlington and Mount Holly. Howe knew his line was too far extended, but he wished to cover the county of Monmouth, where there were indications of an outbreak on the part of some loyalists. The American army reached from Coryell's Ferry to Bristol. The crossings above Trenton were guarded by Stirling, Mercer, Stephen, and Fermoy. Ewing lay opposite Trenton. Dickinson with a few New Jersey troops was opposite Bordentown, and Cadwalader with the Pennsylvania militia was at Bristol.
Washington decided to attack the troops at Trenton. His men fit for duty did not exceed five thousand, and of these nearly two thousand were militia. The troops under Rahl consisted of three battalions of Hessians, having with them six field-pieces, fifty chasseurs, and twenty dragoons,—twelve hundred in all. Circumstances favored the plan which Washington now adopted. Colonel Griffin, with two companies of Virginians and some militia, had driven a party of Hessians, who had penetrated as far south as Moorestown and Haddonfield, back to Mount Holly, where they had been reinforced by Donop, who was thus too far removed from Trenton to support Rahl in case of an emergency. The success of Griffin made the militia at Bristol anxious for service, and it was decided by Cadwalader and Reed, who was with him, to gratify them by supporting Griffin. To this Washington assented, and at the same time confided to Reed and Cadwalader his contemplated movement against Trenton. On the morning of the 23d he wrote to them asking if the plan had been carried out, and informed them that one hour before day on the morning of the 26th was the time he had fixed upon for attacking Rahl. "For heaven's sake", he wrote, "keep this to yourselves as the discovery of it may prove fatal to us. Our numbers, sorry I am to say, being less than I had any conception of; but necessity, dire necessity, will, nay must justify an attack. Prepare and concert with Griffin; attack as many of their posts as you possibly can with a prospect of success; the more we can attack at the same instant the more confusion we shall spread, and the greater good will result from it."
Washington was informed that it was impracticable to act with Griffin;[375] and Reed repaired to Philadelphia to urge Putnam to create a diversion by crossing the river at Cooper's Ferry. He found, however, that little could be expected from Putnam, and returned to Bristol on the 25th, where Cadwalader was preparing to carry out the part which Washington had assigned to him. It was the intention of Washington to cross the Delaware above Trenton with about one half of his command, and attack the enemy, while Ewing and Cadwalader should cross opposite Trenton and Bristol, and not only cut Rahl's line of retreat but prevent Donop from reinforcing him.
Notwithstanding the fact that no aid could be expected from Putnam, Washington determined to proceed, and urged Cadwalader to do all in his power to support him. The boats had been gathered at McKonkey's Ferry, nine miles above Trenton, and as the men marched to them the footprints they left in the snow were here and there tinged with blood from the feet of those who wore broken shoes. The boats were promptly manned by Glover's regiment from Marblehead, and at dark the crossing began. It was three o'clock before the artillery was landed, and four before the troops took up the line of march. The attack was to have been made about five, and against a more vigilant enemy this delay would have proved fatal. But Rahl was not vigilant. He despised his opponents, and refused to protect his position with redoubts as instructed by Donop. He had been informed of Washington's intended movement, but paid no attention to the report. It so happened that on the morning of the attack his outposts had been fired upon by a body of strolling militia, and this he supposed was the attack he was to look for. Washington had with him two thousand four hundred men. These he divided into two columns. One was commanded by Sullivan, and marched by the river road which entered the town on the northwest. The other, under Greene, took the Pennington road which approached the town from the north. The Americans advanced in a violent storm of snow and hail. Greene's command arrived at the outskirts of the town three minutes before Sullivan's. The attacks of both parties were almost simultaneously. Many of the guns were rendered useless by the storm, and the men were ordered to charge. Those who had bayonets fixed them and rushed upon the pickets, who retired. The Hessians were taken entirely by surprise. For a while Rahl was allowed to remain undisturbed in bed, but when matters grew serious he was aroused and hurriedly assumed command. Some of his half-formed regiments were advanced towards the Americans, but were driven back, throwing those in their rear into inextricable confusion. Two lines of retreat were open to Rahl. One lay over the bridge which crossed the Assanpink, south of the town; the other was the road to Brunswick. But Sullivan's attack was so spirited that the Hessians were driven past the road which led to the bridge, and as they attempted to escape towards Brunswick, Washington intercepted them with Hand's riflemen and held them in check. A battery under Captain Thomas Forrest created great[376] havoc in their ranks, and two of their guns were turned against it. These were immediately charged by the Americans, who were led by Captain William Washington and Lieutenant James Monroe. Both were wounded, but the guns were captured. Rahl was mortally wounded in trying to rally his men, and shortly after he fell his command surrendered. All was over in three quarters of an hour. With the exception of the horse and a small number of the infantry which escaped over the Assanpink or to Brunswick, Rahl's entire force was either killed or captured. The prisoners numbered nine hundred and eighteen. The killed, Washington thought, did not exceed twenty or thirty. The Americans had two privates killed, one frozen to death, and two officers and four men wounded. As the enemy were supposed to be in force at Princeton and Bordentown, and the Americans were in no condition to withstand an attack, it was thought best not to risk the advantage which had been gained, and as soon as the men were rested the army, with its prisoners, returned to Pennsylvania.
Ewing and Cadwalader had been unable to carry out the parts assigned them, on account of the ice. The latter sent a portion of his infantry over the river, but recalled it when he found he could not land his artillery. With no definite news of Washington's success, Cadwalader recrossed on the morning of the 27th, supposing Washington to be at Trenton. He soon learned his mistake, but discovered that Donop had retreated towards Brunswick when he heard of the action at Trenton. Cadwalader then moved on to Burlington, and on the 29th marched to Crosswicks. The desperate condition of affairs previous to the battle had stimulated the people to extraordinary efforts, and the news of the victory raised their spirits in proportion to the depression they had so lately suffered. Ignorant of the victory Washington had achieved, Congress on the 27th vested him with powers that virtually constituted him a military dictator for the period of six months. To convince the people of the reality of the victory, the Hessians were marched through the streets of Philadelphia, and one of their standards was hung up in the chamber of Congress at Baltimore. Public rejoicings broke forth on every side. "The Lord of Hosts has heard the cry of the distressed, and sent an angel to their assistance", exclaimed Muhlenberg, the patriarch of the Lutherans. On the 27th and 28th of December, fifteen hundred militia under Mifflin followed Cadwalader into New Jersey, while the Jerseymen gathered at Morristown and other points. In the face of this feeling it was necessary that the offensive should be resumed, and on the 30th Washington occupied Trenton. The service of the New England troops expired on the first of the year; but through the efforts of Robert Morris money was raised to offer bounties, which, with appeals to their patriotism, induced them to remain six weeks longer with the army.
As soon as Cornwallis heard of the surprise at Trenton, he gave up his visit to England and hastily joined Grant at Brunswick. On the 30th, with 8,000 men, he marched towards Trenton, with the determination of driving[377] Washington over the Delaware or capturing his entire force. Washington immediately ordered Cadwalader and Mifflin to Trenton, and sent forward a detachment under General Fermoy to retard the advance of Cornwallis. On the night of January the 1st this detachment was at Five Mile Run, between Trenton and Princeton. Early on the morning of the 2d Cornwallis set out from Princeton, where he had halted the night previous. The Americans retired before him, disputing every foot of ground. Hand's riflemen, Scott's Virginians, and Forrest's battery bore the brunt of the fighting. It was nearly noon by the time Shabbakong Creek was reached, and two hours passed before the British succeeded in crossing it. The main portion of the American army was strongly posted on the south side of the Assanpink, the banks being sufficiently high to enable the men in the rear to fire over the heads of those in front of them. As the British approached Trenton, troops were sent forward by Washington to support the Americans. A battery placed on a hill beyond Trenton held the British in check for a short time, but the Americans were soon driven into the town and across the bridge. The cannonading on both sides was heavy, but the British were unable to force their way across the stream, and as night approached Cornwallis, against the advice of his officers, withdrew his troops, determined to renew the conflict in the morning. "If ever there was a crisis in the affairs of the Revolution", wrote Wilkinson, "this was the moment. Thirty minutes would have sufficed to have brought the two armies into contact, and thirty minutes more would have decided the combat." Washington's position was indeed critical. It was hardly possible that with his raw levies he could continue to hold in check the well-disciplined troops of Cornwallis, which in the morning would be reinforced with troops he had left at Maidenhead and Princeton. The Delaware behind Washington was full of floating ice, and to cross it in that condition was impossible. If Cornwallis should force the Americans' position, the victory of the British would be decisive. Immediately after dark a council of war was held. It was then decided to turn the left flank of the enemy, strike a blow at Princeton, where the garrison was small, and march on Brunswick, the depository of the British stores. The sentries of both armies were posted along the banks of the Assanpink, and at some points were within one hundred and fifty yards of each other. Working parties were sent within hearing distance of the enemy to throw up intrenchments, the guards were doubled, and everything was done to indicate that Washington intended to defend his position to the last. But at midnight the fires were replenished and the troops silently withdrawn. Marching by the Quaker road, Washington turned the left flank of Cornwallis, and by daybreak reached a point directly south of Princeton. With the main body he moved directly on the town, and ordered a detachment under Mercer to march to the left and demolish the bridge over Stony Brook, thus destroying direct communication with Cornwallis. The garrison at Princeton consisted of the 17th, 40th, and 55th regiments and three companies of light horse.[378] The 17th and 55th, with a few dragoons, started at sunrise on the morning of the 3d to join Cornwallis. The 17th, under Colonel Mawhood, had crossed the bridge over Stony Brook, that Mercer was to destroy, and was some distance beyond it, when Mawhood discovered Mercer on his flank and rear, moving north on the east side of the stream. He at once recrossed the bridge, and both parties endeavored to gain the high ground east of the stream. As the Americans had the shortest distance to march, they were successful, and with their rifles they poured a deadly fire into the 17th and 55th, as they advanced to drive them from their position. They had no bayonets, however, and were unable to stand the charge of the British. They fled through an orchard in their rear, leaving their commander mortally wounded on the ground. It was not until Mawhood emerged from the orchard that he was aware that the whole American army was within supporting distance of the troops he had just engaged. On hearing the firing on his left, Washington halted his column, and with the Pennsylvania militia moved to the support of Mercer. Encouraged by the irresolution of the militia, Mawhood charged them, but other regiments coming up and the militia gaining confidence, the British halted, and then fled, as the Americans in turn advanced against them. The 55th retreated to Princeton and joined the 40th. They made a mere show of defending the town, took refuge in the college building, deserted it, and were soon seen in full retreat across the Millstone towards Brunswick. Washington's troops had been under arms for over eighteen hours, and were too much fatigued to follow them. Having dispersed the 17th regiment, he destroyed the bridge over Stony Brook and Millstone as the head of Cornwallis's rear-guard came in sight. It was commanded by Leslie, who had marched from Maidenhead as soon as he heard the firing in his rear. Washington turned north at Kingston, and proceeded to Somerset Court-House, where he rested his men. Cornwallis was not aware that the Americans had been withdrawn from his front until he heard the sound of the guns at Princeton. Realizing at once that he had been outgeneralled, and that his stores were in danger, he ordered a retreat. Failing to reach Princeton in time to be of service, he continued his march to Brunswick, and made no attempt to follow Washington. The losses of the British in these engagements were severe; those on the 2d of January were never known. At Princeton, Washington estimated that one hundred men were left dead upon the field, and that the killed, wounded, and prisoners amounted to five hundred. Ensign Inman, of the 17th, wrote that of the two hundred and twenty-four rank and file of his regiment, which set out on the morning of the 3d, one hundred and one were either killed or wounded, and that he was the only officer of the right wing not injured. The Americans lost only twenty or thirty privates, but many officers. Bravely had they urged their men on in the thickest of the fight. That Washington escaped seemed a miracle to those who saw him lead the troops which drove Mawhood back. Hazlet, Morris, Neal, and Shippin fell upon the field. Mercer, mortally wounded,[379] died upon the 12th, lamented by the whole country. From Somerset Court-House Washington marched to Morristown, where he went into winter-quarters. The British troops were soon all withdrawn to Amboy and Brunswick. In less than three weeks Washington had turned back the tide of adversity, and had compelled his opponents to evacuate West Jersey.
Washington remained at Morristown from the 7th of January until the 28th of May, during which time no military movement of importance took place. His men left for their homes as soon as their terms of service expired, and as few militia entered the camp to take their places, at times it seemed as if the army would be so reduced as to be unworthy of the name. It was not until late in the spring that the new levies reached headquarters. On the 28th of May the Americans marched to Middlebrook, and took position behind the Raritan. On the 13th of June Howe marched from Brunswick and extended his line to Somerset Court-House, and Arnold was sent to Trenton to take measures to prevent his crossing the Delaware. The militia turned out in a spirited manner, and Howe did not care to advance in the face of the opposition they could offer, with Washington on his flank. He endeavored to bring on a general engagement with the latter, but Washington refused to leave the strong position he occupied, and Howe retired to Amboy.
Early in April Howe had settled upon a campaign having for its object the capture of Philadelphia. He determined to embark his troops and transport them to the banks of the Delaware or Chesapeake, and march directly on the city. With the object of reaching the fleet he started to cross to Staten Island; but learning that Washington was at Quibbletown, he recalled his men and proceeded to Westfield, hoping to outflank him. But, as Washington retired, Howe was unsuccessful, and finally passed over to Staten Island, totally evacuating New Jersey.
For over six weeks Washington was ignorant of Howe's intentions. Supposing that he would endeavor to coöperate with Burgoyne, and would sail up the Hudson, Washington moved his army to Ramapo, in New York. On the 23d of July, after Howe's troops had been three weeks on the vessels, the fleet sailed, shaping its course southwesterly. Its departure was promptly reported to Congress. Signal fires were lighted along the Jersey coast as it was seen from time to time by those who were watching for it, and messengers carried inland the news of its progress. At last, on the 30th, it was spoken off the capes of Delaware, but Lord Howe deemed it too hazardous to sail up that river, and after consulting with his brother, the general, continued on his course southward. On the 15th of August he entered Chesapeake Bay, and on the 25th the troops were landed at Elk Ferry.
On the 24th of July Washington heard that the fleet had sailed southward, and in consequence marched his army from Ramapo to Coryell's Ferry. He continued his march to Philadelphia, when he learned that the fleet was off the capes of Delaware; but as it was soon lost sight of, he retraced[380] his steps, and halted in Bucks County, Pennsylvania, twenty miles from Philadelphia. While there, Lafayette, De Kalb, and Pulaski joined the army.
LORD HOWE.
From Murray's Impartial Hist. of the present War, ii. p. 96. Cf. cut in European Mag., ii. 432. There is a colossal statue of Howe, by Flaxman, in St. Paul's, London.
For a while everything was in suspense. Concluding at last that Howe had sailed for Charleston, Washington consulted with his officers, and decided to return to the Hudson, so that Burgoyne could be opposed or New York attacked, as circumstances should direct. He was just about to do this when word was brought that the fleet had entered Chesapeake Bay, and was at least two hundred miles from the capes. This news created great consternation in Philadelphia, but the excitement was not as great as it had been the previous winter, when Howe was at Trenton. Repeated alarms had made the people callous, and internal political differences continued to divide them. Besides this, the pacific influence which the presence of a large Quaker population exercised seemed to bear down all military efforts. Stirring appeals were made by the authorities, new bodies of militia were ordered to be raised, handbills calculated to arouse the people were issued, but all with unsatisfactory results. To impress the lukewarm with the strength of his forces, and to inspire hopes in the breasts of the patriotic, on the 24th of August Washington marched his army through the streets of Philadelphia. The men were poorly armed and clothed, and to give them some uniformity they wore sprigs of green in their hats.
The Americans halted south of Wilmington, and a picked corps under Maxwell was thrown to the front. The country below was patrolled by parties of Delaware militia under Rodney, and Washington reconnoitred it in person. The disembarkation of Howe's army on the 25th was watched by a few militia, who fled when a landing was effected. Howe's men were in good health, but hundreds of his horses had died on the voyage, and those that survived were little better than carrion. His advance, therefore, was slow. He moved in two columns, one on each side of Elk River. Several days were spent in collecting horses, and on the 3d of September the columns joined at Aitken's tavern. Here a severe skirmish took place with Maxwell's corps, which was driven back. Washington's force then lay[381] behind Red Clay Creek, his left resting on Christiana Creek, and extending in the direction of Newport. On the 8th the British advanced as if to attack the American left, but by night Washington learned that the greater part of Howe's army was at Milltown, on his right. Fearing that Howe would push past him in that direction, cross the Brandywine, and gain the road to Philadelphia, Washington, on the evening of the 8th, quietly withdrew his troops from Red Clay Creek, and threw them in front of Howe, at Chad's Ford, on the Brandywine. A redoubt, commanded by Proctor, was thrown up on the east bank to protect the crossing. Wayne's division, formerly Lincoln's, was within supporting distance, and Greene's, still further to the rear, was to act as a reserve. The Pennsylvania militia, under Armstrong, formed the left wing. They were posted at the fords below Chad's, which were easily protected. The right wing was commanded by Sullivan. It was composed of his own division and those of Stirling and Stephen. Both Washington and Sullivan were unacquainted with the country to their right, and supposed that, when they guarded the fords three miles above where Sullivan was stationed, the enemy could not approach from that direction without their receiving timely notice.
The British marched from Milltown to Kennett Square. On the morning of the 11th, Knyphausen with 7,000 men took the direct road to Chad's Ford. He skirmished with Maxwell, who had crossed the stream to meet him, and drove him back over the Brandywine. At daybreak on the same day, another column, 7,000 strong, set out from Kennett Square. It was commanded by Cornwallis, and Howe accompanied it in person. It took a road leading north to a point above the forks of the Brandywine, turned to the east, crossed the west branch at Trimble's Ford and the east at Jeffrey's, and then moved south. The plan was that Knyphausen should engage the attention of the Americans in front until Cornwallis had gained a position to attack their right. In this Knyphausen was successful, his attempts to cross the Brandywine at Chad's Ford being only feints.
About noon Washington heard of Cornwallis's march. He promptly determined to cross the stream and engage Knyphausen, while Cornwallis was too far distant to reinforce him or threaten the American right. Wayne, Greene, and Sullivan's divisions were ordered to advance. Greene had gained the west bank when word was received from Sullivan that a Major Spear had assured him that there must be some mistake. He had that morning passed over the road Cornwallis was said to be on, and had seen nothing of him. Fearing that Cornwallis's march was only a feint, and that he had returned and rejoined Knyphausen, Washington ordered Greene back and sent scouts out for additional information. By two o'clock it was obtained. Cornwallis was discovered on the road to Dilworth, and would soon be in the rear of the Americans. Stirling and Stephen were deployed on the hill southwest of Birmingham Meeting-House, and Sullivan's division was ordered to join them. Before it could reach its position Cornwallis began the attack. As he attempted to turn the American right, Sullivan endeavored[382] to move his three divisions to the east. His own division had been formed in line half a mile from those of Stirling and Stephen, and in closing the gap it fell into confusion and was routed. With the divisions of Stirling and Stephen, Sullivan made every effort to hold the position; but he was outnumbered, his left flank was uncovered, and his entire command was finally driven in confusion from the field. Sullivan, Stirling, and Conway had encouraged their men with exhibitions of personal bravery, and Lafayette, who acted as a volunteer, was wounded while endeavoring to rally some fugitives. When Washington heard the firing in the direction of Birmingham he rode thither with the utmost speed. Meeting the fugitives, he ordered Greene to support the right wing. The order was executed with wonderful promptness. Greene, throwing Weedon's brigade on the flank of the enemy and Muhlenberg's in their front, checked the pursuit. But the Americans were obliged to fall back until they came to a narrow defile, flanked on both sides by woods, from which the British could not drive them, and night ended the conflict. When Knyphausen learned that Cornwallis was engaged he pushed across the stream at Chad's Ford, but Wayne, Maxwell, and Proctor held him in check until they found that the right wing had been defeated, when they retired in good order, fighting as they fell back towards Chester. There at night the defeated army gathered, and Washington reported to Congress that, notwithstanding the misfortunes of the day, his troops were in good spirits.
The American loss was about one thousand, killed, wounded, and prisoners; that of the British, five hundred and seventy-nine. That the conduct of the Americans inspired their opponents with respect is shown by the language of Sir William Howe in summarizing the opposition he had met with up to this time. "They fought the king's army", he wrote, "on Long Island; they sustained the attack at Fort Washington; they stood the battle at Brandywine: and our loss upon those occasions, though by no means equal to theirs, was not inconsiderable."
The day after the battle Washington marched from Chester to Philadelphia. He rested his army two days at Germantown, and then recrossed the Schuylkill; public opinion demanding that another battle should be risked before the city should be given up. On the 16th the two armies met on the high ground south of Chester Valley and prepared for action. The skirmishing had actually begun, when a violent storm stopped the engagement by ruining the ammunition of both armies. Washington withdrew to the hills north of the valley, and finding it impossible to repair the damage done by the storm, retreated again over the Schuylkill, leaving Wayne behind him to watch the enemy and attack their rear should they attempt to follow. Wayne was to have been reinforced by detachments under Smallwood and Gist, which did not reach him. When the British moved nearer to the Lancaster road, Wayne took position in their rear. He supposed that they were ignorant of his presence, and wrote to Washington to that effect. But on the night of the 20th he was attacked by a[383] strong detachment under Major-General Grey, and although he had taken measures to guard against a surprise, the onslaught was so sudden that his men, who were sleeping on their arms, were unable to make an effective resistance, and about one hundred and fifty were either killed or wounded by the bayonet.
GENERAL GREY.
From Doyle's Official Baronage, ii. 76. There is a print in the European Mag., Oct., 1797, and in Murray's Impartial Hist., vol. ii. p. 433.
Howe on the 21st resumed his march towards Philadelphia. Finding that the Americans had thrown up intrenchments at Swedes Ford, he turned up the river as if to cross above. Washington feared that it was his intention to strike at Reading, where his stores were deposited, and to protect them marched in the same direction on the opposite side of the river. When he reached Potts Grove, now Pottstown, he discovered that Howe, by a retrograde movement on the night of the 22d, had crossed at Fatland and Gordon's fords, and was in full march for Philadelphia.
On the day of the battle of Brandywine the citizens of Philadelphia heard the sound of cannon in the west, and gathered in the streets to discuss and wonder what the future would bring forth. At night a messenger arrived with news of the disaster. Everything was in confusion, and when, on the morning of the 19th, about one o'clock, a letter was received from Colonel Hamilton stating that the British were marching on the city, the members of Congress were aroused from their beds, and departed in haste for Lancaster, where they had agreed to meet should their removal from Philadelphia become necessary.
GENERAL HOWE.
From Murray's Impartial Hist. of the present War, i. 280.
"It was a beautiful still moonlight night, and the streets as full of men, women, and children as on a market day." The alarm was premature, but on the 25th Howe's army encamped at Germantown. Through Thomas Willing, a leading citizen[384] of Philadelphia, the inhabitants were promised by Sir William Howe that if they should remain peaceably in their dwellings they would not be molested. The next morning, Cornwallis, with three thousand men, took possession of the city. The troops marched down Second Street to the music of "God save the King", and were greeted by some of the inhabitants with "acclamations of joy", but the people generally "appeared sad and serious." Howe immediately began to throw up a line of intrenchments north of the city, extending from the Delaware to the Schuylkill, and informed his brother, the admiral, who was in Delaware Bay, that the army was in possession of the city. The defences of the river prevented the fleet from approaching, and the day after the occupation an attempt was made by the American flotilla to cannonade the city. The smaller vessels were driven off before they had done serious damage, but the frigate "Delaware" ran aground and was captured.
ALEXANDER HAMILTON.
After a crayon in the Hist. Soc. of Pennsylvania. There is a picture in Independence Hall. Ceracchi's bust is given in stipple in Delaplaine's Repository (1815).
For view of "The Grange", Hamilton's home, see Valentine's N. Y. Manual, 1858, p. 468; Mrs. Lamb's Homes of America; Lossing's Hudson, 275.—Ed.
The main portion of Howe's army remained at Germantown, a village of a single street, two miles in length, and five from the city. In the centre stood the market-house, and along the road which there crosses the main[385] street Howe's army was encamped. The left under Knyphausen reached to the Schuylkill, the right under Grant and Mathews to the York road. At the upper end of the town stood the large stone mansion of Benjamin Chew, late chief justice of the province, and in a field opposite the 40th Regiment under Colonel Musgrave was encamped. The advance was a mile beyond at Mount Pleasant, where the second battalion of light infantry was stationed, with their pickets thrown out at Mount Airy still further on. After Howe crossed the Schuylkill, Washington marched to Pennybacker's Mills, and thence to Metutchen Hills, fifteen miles from Philadelphia. He had been reinforced by McDougall's brigade and other troops; and learning that Howe had detached a portion of his command to reduce the forts on the Delaware, he determined to attack him at Germantown. His plan was to engage the troops at Mount Pleasant with a portion of his army, while a large force under Greene should move down the Lime Kiln road, which enters the town from the east at the market-house, and attack Grant and Mathews. At the same time the Pennsylvania and Jersey militia were to make demonstrations on the enemy's left and right flanks respectively.
ANTHONY WAYNE.
From the New York Magazine, March, 1797, following a picture by Trumbull, now at New Haven. Other engravings are in the National Portrait Gallery (N. Y., 1834); Irving's Washington, quarto ed., vol. iii.; in Jones's Georgia, vol. ii., engraved by H. B. Hall; Lossing's Field-Book, ii. 177. It has been engraved by I. B. Forrest, J. F. E. Prud'homme, and others. A portrait by Henry Elonis is engraved by Geo. Grahame. A likeness, front face, without hat, is in the Mag. of Amer. History, Feb., 1886, and History of Chester County by Futhy and Cope. Cf. Penna. Archives, vol. x., and the sketch by J. W. De Peyster, and a new portrait in United Service, March, 1886, p. 304.
A view of Wayne's house is given in Egle's Pennsylvania, p. 540; Lossing's Field-Book, ii. 373; Harper's Mag., April, 1880.—Ed.
Washington moved from his quarters on the evening of October 3d. Sullivan commanded the troops that were to attack the enemy in front, and was followed by the reserve under Stirling, which Washington accompanied. Sullivan arrived at Chestnut Hill on the morning of the 4th at sunrise, and halted two hours to allow Greene to gain his ground, that the attacks might be made at the same time. Captain Allen McLane's company and a portion of Conway's brigade were then ordered to advance. They drove the guard at Mount Airy back on the light infantry, and held them in check[386] while Sullivan formed his line. Wayne's division was on the east of the road, Sullivan's on the west. The whole under Sullivan then moved forward, driving the light infantry before them. A thick fog enveloped everything, and the men could not see forty yards in front of them. But Wayne's men dashed on, calling to each other to remember Paoli and crying for vengeance. The light infantry were reinforced by the 40th Regiment under Musgrave. Just then Howe rode up, calling out: "For shame, light infantry! I never saw you retreat before." But he found the attack was general, and rode back to the main line. Down the main street and past Chew's house Sullivan and Wayne pursued the flying troops. But here the rout of the British was checked by Agnew, who hastened forward with a portion of the left wing. As the reserve passed Chew's house they were fired upon by six companies of the 40th that had taken refuge there with their commander Musgrave. Stirling endeavored to dislodge them, but the effort was futile. Lieutenant-Colonel John Laurens and Major Louis Fleury daringly attempted to fire the house, but were unsuccessful. While this was going on, Greene made his attack on the right wing. His march had taken half an hour longer than anticipated, while he still met the enemy sooner than planned, as their first battalion of light infantry had been moved forward the night before on the Lime Kiln road. Greene attempted to advance in line of battle, but his line was thrown into confusion. He drove a portion of the troops back to the market-house, but when he encountered Grant he was obliged to retire, and a part of his command was captured. Woodford's brigade wandered so far from Greene's right as to reach the rear of Chew's house. It was then directly behind Wayne's division, and when the brigade fired on the house Wayne's men retired, as they supposed the enemy were in their rear. This uncovered Sullivan's flank, and he too was obliged to fall back. The British pursued until Whitemarsh was reached, where Wayne checked them with a battery posted on the hill, near the church. The Americans lost nearly eleven hundred killed, wounded, and prisoners; the British, five hundred and twenty-one. The American General Nash, of North Carolina, and the British General Agnew were mortally wounded. While the Americans were defeated in their object, the moral results of the battle were in their favor. It inspired them with confidence, and showed the world that though driven from the field of Brandywine they were still aggressive.
It was now evident to Howe that he must open communication with New York by water, or his army would be in a state of siege. His attention was therefore turned to the defences of the Delaware which were held by the Americans. The most formidable of these was Fort Mifflin, situated on an island in the river a short distance below the mouth of the Schuylkill. Opposite this, at Red Bank, on the Jersey shore, was Fort Mercer, while four or five miles below, at Billingsport, was another fortification. Opposite these points chevaux-de-frise were sunk in the channel, which were protected by the batteries and by a fleet of small vessels, known as the Pennsylvania navy, commanded by Commodore John Hazelwood. Besides[387] these, there were several larger vessels which had been built by order of Congress.
On the 19th of October Howe withdrew his troops from Germantown and encamped them behind his lines of intrenchments on the north side of the city. Before this he had erected batteries to attack Fort Mifflin. He now sent a body of men, under Colonel Stirling, over the river from Chester to capture the fort at Billingsport. The garrison there was not sufficient for the defence of the fort, and as the British approached they evacuated the post. By the 21st Admiral Howe succeeded in passing the lower chevaux-de-frise, and his vessels sailed up the river to a point nearly opposite Fort Mifflin. On the same day three battalions of Hessians, with artillery, crossed into Jersey from Philadelphia to attack Fort Mercer. They arrived before the fort on the afternoon of the 22d. It was commanded by Colonel Christopher Greene, of Rhode Island, who had with him but six hundred men. The fortifications were unfinished, but a strong redoubt, with an abatis, had been constructed. Donop summoned the garrison to surrender, and upon receiving a refusal formed his regiments for the attack. They rushed upon the embankments and passed the abandoned lines with little opposition. But when they charged the redoubt, they were met with a fire that nearly filled the ditches with killed and wounded. Most of the men retired in confusion, and those who attempted to scale the works were beaten back in a hand-to-hand conflict. It was intended that the fleet should coöperate with Donop; that the "Vigilant", with sixteen 24-pounders, should pass to the west of Fort Mifflin, while other vessels should engage Hazelwood and prevent his offering assistance to Greene. The plan failed, however, at all points. The "Vigilant" could not sail up the west channel, and Hazelwood was more than a match for the vessels sent against him. He drove them back, while some of his boats sailed close to the shore and poured an effective fire into the flank of Donop's column. It was in vain that Donop and his officers re-formed the men and led them back to the attack. They were shot down in scores as they attempted to remove the abatis, and in three quarters of an hour from the time the engagement opened the men withdrew for the last time, leaving Donop behind them, mortally wounded. He died three days afterwards, "finishing", to use his own words, "a noble career early." His command had numbered about twenty-five hundred men, one sixth of whom were either killed or wounded. The Americans had but fourteen killed and twenty-three wounded. Two of the vessels which had been sent against Hazelwood, the "Augusta" and the "Merlin", ran aground, and were discovered in that position by the Americans on the 22d. They were at once attacked, and the magazine of the "Augusta" exploded with terrific force. She had been set on fire either by accident or by a shot from the American batteries, and blew up before all of her crew could be removed. It was found impossible to save the "Merlin", and she was fired by her officers and destroyed.[388]
THE DESTRUCTION OF THE AUGUSTA.
After a painting in gallery of the Hist. Soc. of Pennsylvania, said to have been painted by a French officer. Cf. Wallace's Col. Wm. Bradford.
Taught caution by these reverses, Howe made no further effort to capture the forts until he had succeeded in erecting a number of batteries on the Pennsylvania shore within range of Fort Mifflin. On the 10th of November these were opened with serious result to the Americans. The reply from the fort was spirited, and the damage done to it in daytime was repaired during the night. On the first day, Colonel Samuel Smith, of Maryland, who commanded the garrison, was wounded, and was taken to Red Bank. The second in command, Lieutenant-Colonel Russell, was relieved, on account of ill-health, by Major Simeon Thayer, of Rhode Island, and the defence of the fort was continued. On the 15th the "Vigilant", carrying sixteen 24-pounders, and a hulk with three guns of the same capacity, succeeded in passing up the west channel and taking the fort in the[389] rear, while other vessels engaged the fleet. The fort by this time was little more than a mass of ruins. The ammunition was nearly exhausted. Major Fleury, the engineer of the fort, and Major Talbot were wounded; nearly all the guns were dismounted, and whenever the men appeared on the platforms they were picked off by sharpshooters in the shrouds of the vessels. During the night of the 15th the garrison was removed to Red Bank, as preparations were being made to storm the place the next day, and on the morning of the 16th the British took possession of the place. The gallant defence of this fort by about three hundred men called forth commendations from all sides. Swords were voted to Hazelwood and Smith by Congress, while Fleury and Thayer were promoted. Fort Mercer was now the only water-defence held by the Americans. With the object of capturing it, on the 18th Cornwallis marched to Chester and crossed to Billingsport. Greene was sent to oppose him, and crossed the Delaware at Bristol; but before he could render any assistance to Varnum, who commanded the troops on the Jersey side of the river, that officer was obliged to retire before Cornwallis and abandon Fort Mercer, which the British now destroyed. Lafayette, who was with Greene, made a spirited attack on a body of Hessians encamped near Gloucester, for which he gained considerable credit. The majority of the small vessels of the Pennsylvania navy succeeded in passing up the river by the batteries that Howe had erected at Philadelphia, but the larger ones, together with nearly all those built by Congress, were destroyed.
A few days after the fall of Fort Mifflin the British transports made their way up to Philadelphia, and to some extent relieved the distress that the scarcity of provisions occasioned. About the end of October Washington removed his headquarters to Whitemarsh, and on November 24th reconnoitred the enemy's lines with a view to attack them. A majority of his officers, however, opposed the plan. It was soon evident that Sir William Howe was about to resume the offensive, and Greene was recalled from Jersey. On the evening of December 4th, Howe, with nearly all his army, marched out of Philadelphia with the avowed intention of driving Washington over the mountains. His advance-guard arrived at Chestnut Hill about daylight the next morning. General James Irvine with the Pennsylvania militia met them at the foot of the hill, and, after a sharp skirmish, the militia fled, leaving Irvine wounded in the hands of the British. When Howe arrived in front of Washington's lines he found them so strong that he did not dare to attack them, and after spending four days in endeavoring to gain a position that would compel Washington to attack him, he suddenly gave up the design and returned to the city.
As the season was advancing, and the Americans were in no condition to keep the field, it was decided to go into winter-quarters at Valley Forge, on the west side of the Schuylkill, where the Valley Creek empties into the river. The surrounding hills were covered with woods and presented an inhospitable appearance. The choice was severely criticised, and De Kalb described it as a wilderness. But the position was central and easily defended. The army arrived there about the middle of December, and the erection of huts began. They were built of logs, and were fourteen by fifteen feet each. The windows were covered with oiled paper, and the openings between the logs were closed with clay. The huts were arranged in streets, giving the place the appearance of a city. It was the first of the year, however, before they were occupied, and previous to that the suffering of the army had become great. Although the weather was intensely[391] cold the men were obliged to work at the buildings, with nothing to support life but flour mixed with water, which they baked into cakes at the open fires. "My brigade's out of provisions, nor can the commissary obtain any meat", wrote Huntington on the 22d of December. "Three days successively we have been destitute of bread", said Varnum the same day, "and two days we have been entirely without meat." Soap, vinegar, and other articles necessary for the health of the men were never furnished, and so imperfectly did the clothier-general perform his duties that many of the men were without shirts, and hundreds were confined to the hospitals and farm-houses for want of shoes. Blankets and proper coverings were so scarce that numbers, after toiling during the day, were obliged to sit by the fires all night to keep from freezing. By the 23d of December two thousand eight hundred and ninety-eight men were unfit for duty, because they were barefoot and otherwise naked. The horses died of starvation by hundreds, and the men were obliged to haul their own provisions and firewood. As straw could not be found to protect the men from the cold ground, sickness spread through their quarters with fearful rapidity. "The unfortunate soldiers", wrote Lafayette, in after-years, "were in want of everything; they had neither coats, hats, shirts, nor shoes; their feet and their legs froze till they became black, and it was often necessary to amputate them.... The army frequently remained whole days without provisions, and the patient endurance of both soldiers and officers was a miracle which each moment served to renew." At times, however, it seemed as if the forbearance of the men was exhausted, and that the war would end in mutiny. But the officers succeeded in allaying the feelings of discontent, and under the management of Greene, who assumed the duties of quarter-master-general on the 23d of March, a change for the better took place.
While the country around Valley Forge was so impoverished by the military operations of the previous summer as to make it impossible for it to support the army, the sufferings of the latter were chiefly owing to the inefficiency of Congress. That body met at Lancaster after leaving Philadelphia, and at once adjourned to York, where its sessions were continued. But it in no way equalled the congresses which had preceded it. "The Continental Congress and the currency", wrote Gouverneur Morris in 1778, "have greatly depreciated." Many of the members entertained the widespread fear of a standing army, and refused to follow the advice given by Washington for the relief of the men who defended them. Some of the delegates, indeed, did not hesitate to criticise the judgment of Washington, and question his abilities. The capture of Burgoyne gave them an opportunity of comparing the results of the Northern and Southern campaigns. In writing of Washington's army a member of Congress said to Gates: "We have had a noble army melted down by ill-judged marches, which disgrace their authors and directors, and which have occasioned the severest and most just sarcasm and contempt of our enemies. How much you are to be envied, my dear general! How different your conduct and[392] your fortune! In short, this army will be totally lost unless you come down and collect the virtuous band, who wish to fight under your banner, and with their aid save the southern hemisphere. Congress must send for you." "I am weary", exclaimed John Adams, "with so much insipidity." "I am sick of Fabian systems in all quarters." It was a matter for thanksgiving, he thought, that the credit of defending the Delaware was "not immediately due to the commander-in-chief nor to Southern troops. If it had been, idolatry and adulation would have been unbounded." The prevalence of these sentiments made it easy for disappointed soldiers like Mifflin and Conway to spread dissensions which, if they had been allowed to grow, would have brought about the removal of Washington. Mifflin's eloquence and abilities as a politician far exceeded his merits in the field; and he was jealous of the preference shown by Washington for Greene and Knox. Conway aspired to a major-generalship, and was chagrined that Washington opposed him. If Washington had been removed and Lee or Gates appointed in his place, Mifflin and Conway would have been benefited by the change. The schemes of the last two were warmly supported by James Lovell and Dr. Benjamin Rush, and the most insidious measures were entered upon to undermine the reputation of Washington. Anonymous letters were circulated for this purpose, and the country was made to ring with the cry that, under a Gates, a Lee, or a Conway, the Southern army would be victorious. Through the influence of this faction, Gates was made president of the Board of War, of which Mifflin was a member, and authority which belonged to the commander-in-chief was vested in it. To separate Lafayette from Washington, and gain for themselves the influence of his name, the "Cabal", as it has been called, proposed an impracticable winter campaign against Canada, which Lafayette was to command, with Conway to assist him. But here the faction spent its strength. The friends of Washington had been put on their guard by the disclosure of a correspondence which showed the malignity of his enemies. Wilkinson, who was on Gates's staff, repeated, while his tongue was loosened with wine, an opinion expressed in a letter that Conway had written to Gates. Gates read it to his military family. "Heaven has been determined to save your country", it said, "or a weak general and bad counsellors would have ruined it." The words reached Washington, who enclosed them to Conway, simply informing him that he understood they formed a portion of a letter of his to Gates. It was in vain that the members of the Cabal attempted at first to carry the matter through with a high hand, then to deny that such a letter had ever been written, and finally to excuse themselves. Their ends were discovered and their power was gone. Lafayette would have nothing to do with the Canadian expedition unless De Kalb was made his second in command. He repaired to Albany only to find that no measures had been taken to carry out the promises made him, and as the friends of Washington were soon in the ascendency in Congress, Lafayette was recalled to Valley Forge.
Through the advice of a committee which Congress had sent to camp to inquire into the condition of the army, many defects and abuses were corrected, and its organization was improved. The new troops that had been called for came in slowly, but their effectiveness was increased through the exertion of Baron Steuben, who joined the army about the close of February. A pupil of Frederick the Great, and a distinguished officer in the Prussian service, he won the esteem of Congress by offering to serve as a volunteer. His experience and industry soon instilled a discipline into the army which it had never known, and in May he was made inspector-general, with the rank and pay of a major-general.
While the American army was suffering at Valley Forge the British were comfortably quartered in Philadelphia. When they first entered the city it presented a sorry appearance: 590 dwellings and 240 stores were unoccupied; the leaden spouts of many houses had been taken down to mould into bullets, and the bells of the churches and public buildings had been removed to places of safety. The male population between the ages of eighteen and sixty numbered but 5,335, and of these one fifth were Quakers. The feelings of the Quaker citizens had been greatly outraged by the arrest and banishment to the western part of Virginia of a number of their people. Sullivan had discovered on his march through New Jersey what he believed to be a treasonable correspondence on their part with the enemy, and he had forwarded the papers to Congress. The matter had been referred to the authorities of Pennsylvania, who found in the correspondence, and in an address issued by the Quaker meeting in December, the grounds for sending the Quaker leaders into exile. It was but natural that the families of these men should have looked upon the British as their deliverers from an outrageous tyranny. But they soon found to their sorrow that their opposition to war afforded them as little protection from one side as from the other. The property destroyed by the British was enormous, and a revulsion of feeling was the consequence. At one time seventeen handsome houses beyond the lines were set on fire to prevent their being occupied by the American pickets. Persons living in the neighborhood of the city were robbed by both parties, and their crops carried off or destroyed. The temptation to sell their produce for hard money induced some of the neighboring farmers to supply the enemy with luxuries, though they found access to the city hazardous. The Americans under Smallwood guarded the roads leading to Wilmington, while Generals Potter and Lacy scoured the country west and north of the city. Captains Allen McLane, Clark, and Lee watched the movements of the enemy and reported them to Washington, but they could not oppose the large forces that Howe frequently sent out to protect those who were willing to risk furnishing him with provisions.
Note.—The play-bill on the opposite page is after a fac-simile given in Smith's Amer. Hist. and Lit. Curios., 2d series. A list of such bills printed in Philadelphia at this time is given in Hildeburn's Issues of the Press in Penna., ii. pp. 315, 316.
The desolation which surrounded the town was soon in striking contrast with the scenes within. The empty stores were occupied by itinerant traders from New York, who offered for sale articles of luxury that the war had driven from the American market. The officers of the army were quartered on the citizens, and after the campaign closed they gave themselves up to social enjoyments. Clubs met at the public-houses, and weekly balls were given at the City Tavern. As many of the officers were men of education and refinement, they were warmly welcomed in the families of leading citizens; but there was another class who did much to change the moral aspect of the city, when, by following the loose example of their commander, Sir William Howe, they shocked the staid citizens with their immorality. Cock-fighting and gambling were favorite amusements, and a faro-table kept by a foreigner proved the ruin of many young officers. The theatre on South Street was fitted up under directions of Captains André and De Lancey. Some of the scenes were painted by André. The profits of the performances were divided among the widows and orphans of the soldiers. As spring approached, horse-racing was added to the list of amusements. While citizens of wealth could take part in the gaieties which surrounded them, those in moderate circumstances suffered privations. Firewood was extremely scarce and provisions high. "Nothing but hard money will pass", wrote a resident to a relative outside of the lines. "There is plenty of goods, but little money among the tradespeople. The market is poor. I received the butter by J——; we are no longer accustomed to eat butter on our bread. I keep it to make water soup, which we have nearly every day." The army of occupation, on the other hand, was plentifully supplied with military stores after the defences on the Delaware were captured.
Martial law ruled supreme. The appointment of Joseph Galloway to be superintendent of police and the designation of magistrates under him were the only steps taken towards the revival of civil authority, and Galloway received his orders from headquarters.
The supineness of Howe robbed the British of all the benefits that might have resulted from the capture of Philadelphia. Attempts were made to raise regiments of loyalists, but so little support did the scheme receive that it was only partially successful. The "Pennsylvania Loyalists", of which William Allen, Jr., was colonel, and the "Queen's Rangers", commanded by Lieutenant-Colonel Simcoe, were the most efficient of these corps. No attempt was made to drive Washington's half-starved forces from their camp, although their condition was perfectly well known to Howe through the deserters that flocked to the city. The military movements of Howe while in Philadelphia were confined to foraging expeditions and attacks on isolated posts that could be surprised and broken up with little danger of loss. While these were successful, they gave to the war a predatory character that reflected little credit on British arms, and intensified the bitterness entertained for all representatives of royal authority.
The British government, dissatisfied with the results of Howe's campaigns,[396] decided early in 1778 upon his recall. Sir Henry Clinton, his successor, arrived in Philadelphia the 8th of May, and on the 18th an entertainment was given by the officers of the army in honor of the retiring commander. The fête was styled the "Mischianza", and consisted of a regatta, a mock tournament, and a ball. But "Knights of the Burning Mountain" and of the "Blended Rose", with squires and ladies decked with spangles and ribbons, could not disguise the fact that the royal army had failed in accomplishing the task assigned to it, and the chagrin of its veterans was deepened by the frivolous scenes which marked the retirement of Sir William Howe.
The alliance with France made it necessary for the British to contract their operations, and Sir Henry Clinton brought with him orders to evacuate Philadelphia. His intention of doing so became known to Washington, and that his information might be more certain he ordered Lafayette, with a body of two thousand four hundred men, the flower of the army, to cross the Schuylkill and take a position near the city. This movement was made on the very day of the Mischianza, and on the morning of the 19th Howe learned that Lafayette was at Barren Hill, twelve miles distant. Clinton had not yet assumed command, and in the hope of closing his career in America by a brilliant stroke, Howe determined to make an effort to capture the young Frenchman and his detachment. So confident was he of doing this, that, before leaving the city, he invited his friends to meet Lafayette, whom he promised to bring with him on his return, while his brother, the admiral, prepared a vessel in which to take the distinguished captive to England. On the night of the 19th Grant, with five thousand men, marched by way of Frankford and Oxford, and by morning he had gained a point on the Swedes Ford road two miles in the rear of Lafayette. Another detachment, under Grey, was sent by way of Chestnut Hill to attack Lafayette's flank; while the main portion of the army, under Howe, took the Ridge road, to attack him in front. Lafayette's position was on high ground, and was naturally strong. Neither Grey nor Howe could approach him without his being aware of their advance. In his rear were two roads. One led along the riverside to Matson's Ford, three miles distant; the other along a ridge, a short distance from the river, to Swedes Ford, still higher up. The ground between the roads was heavily wooded. Had Grant, who held the Swedes Ford road, sent a portion of his force to Matson's Ford (which he could have done by a cross-road), Lafayette's only line of retreat would have been destroyed. But in place of doing this he marched down the Swedes Ford road to attack the American rear. Through the carelessness of his scouts, Lafayette was ignorant of Grant's position. He was preparing his force to receive Howe, when he heard of the column advancing from Chestnut Hill. He had just faced a portion of his troops in that direction when he learned that Grant was in his rear. Lafayette's danger was now apparent, but he was equal to the occasion. Without losing a moment, he sent troops through the woods,[397] with orders to allow themselves to be seen at times by Grant, and lead him to suppose that they were the advance-guards of larger numbers. He also left a small body to engage the attention of Howe and Grey, and then silently marched his detachment along the river road, below Grant, to Matson's Ford. Grant was entirely deceived. He halted his men, reconnoitred the troops seen in the woods, and then pushed on to Barren Hill, where he met the other columns and discovered that Lafayette had escaped. The British pursued him to the ford, but by the time they reached it Lafayette had drawn up his force on the other side, and his rear-guard could be seen following him, dotting the river like the corks of a seine. Fearing that Lafayette had been reinforced by the entire American army, Howe made no attempt to follow him, but returned to the city, and on the 24th sailed for England.
The evacuation of Philadelphia was now only a question of time, and the news that it had been decided upon was appalling to the Tory citizens who had openly committed themselves to the royal side. In their despair they offered to raise three thousand men, if two thousand of the royal army could be left in addition, to protect the city. Howe had advised some of them to make terms with Congress, but those who had been most active in serving him decided to leave with the army. One hundred and eighty transports arrived in the Delaware, and such diligence was used in loading them that for days light carts drawn by soldiers, and every kind of carriage, from wagons to wheelbarrows, were constantly rolling between the houses and the river. As fast as the transports received their cargoes they dropped down the river. The defences were dismantled. On the 30th of May bodies of troops were thrown across the Delaware to protect the passage of the army. Everything was now ready for the departure of the British, but the final movement was delayed for a few days on account of the arrival of the commissioners appointed under the conciliatory bills of Parliament. At last, on the morning of June 18th, the men were withdrawn from the lines and marched below the city, where they were embarked upon boats and taken over to Gloucester. This was done so quietly that many of the citizens were not aware of the departure of the army until they noticed the absence of the redcoats in the streets. "They did not go away", wrote a resident, "they vanished."
By narrowly watching the movements of the enemy Washington was convinced that it was Clinton's intention to march the greater part of his army across Jersey. In this opinion he was opposed by the erratic Charles Lee, who had been exchanged, and had reached the camp. Lee could not believe that the British would give up Pennsylvania, and argued that it was more probable that they would strike at Lancaster, or possibly cross the lower Susquehanna and take up a position on its west bank. Before this, however, Washington had sent all of the Jersey troops into that State. He had put them under the command of Maxwell, with directions to coöperate with Dickinson, who commanded the militia, in opposing any attempt Clinton[398] should make to cross the State. On the 18th of June George Roberts rode at full speed into camp at Valley Forge. He had been at the ferry over the Schuylkill at Market Street, and citizens on the Philadelphia side had shouted over the water that the British had gone. They had destroyed the bridge, so that he was unable to cross, but the intelligence could be relied upon. Shortly afterwards a letter was received from Captain Allen McLane confirming the news. He had ridden into the city from the north, and had picked up some stragglers.
Washington had everything in readiness to move the army at a moment's notice. Six brigades were immediately put in motion, and the remainder of the army followed the next day. Crossing the Schuylkill at Valley Forge, Washington marched directly for Coryell's Ferry on the Delaware, which he crossed on the 22d. He now sent a picked corps under Morgan to assist Maxwell. At Hopewell a council of war was held. Lee opposed any attack, and argued that, on military grounds, rather than delay the British, he would build a bridge of gold to facilitate their march. He so successfully urged his views that it was decided to move on a line parallel with the enemy, and send only a detachment of fifteen hundred men under Scott to aid Maxwell in annoying their flanks. Greene, Lafayette, and Wayne protested against the decision of the Council, and as their views agreed with Washington's, and were supported by Steuben and Du Portail, Washington determined to attack Clinton if an opportunity offered. For this purpose he moved his army to Kingston, whence he could strike at Clinton's line if he attempted to cross the Raritan. He also sent Wayne with a thousand men and Poor's detachment to join Scott and Maxwell. The command of this body belonged to Lee, but as he did not approve of the change in the plans, he declined it in favor of Lafayette. Subsequently, however, Lee claimed it, and to relieve Washington from an embarrassing position, and save Lee's feelings, Lafayette magnanimously yielded. The Jersey militia had turned out in a spirited manner, and under Dickinson and Forman were doing all in their power to retard Clinton's advance. They destroyed the bridges as they retired from Haddonfield to Mount Holly, and filled up the wells so that the enemy could not obtain water. The heat was intense and the British suffered severely. Clinton arrived at Crosswicks on the 23d, just in time to save a bridge over the creek at that place. There he learned that Washington was in Jersey, and would soon be on his flank if he continued to march in his present direction. Encumbered as he was with a baggage train twelve miles long, Clinton knew it would be impossible to protect it in crossing the Raritan. He determined, therefore, to march by the way of Freehold to the Neversink Hills, from which place he could embark his army for New York. Morgan and Maxwell hung on his rear from the time he left Crosswicks, and to protect his baggage Clinton sent it to the head of the column. As he approached Freehold, he knew from the frequency with which troops were seen on his left that he was in close proximity to the American army.[399] He arrived at Freehold, where the court-house of Monmouth County is situated, on the morning of the 26th, and there encamped. The head of his column extended a mile and a half beyond the court-house on the road to Middletown. His left was on the road just marched over from Crosswicks to Freehold. The village was entered on the west by a road leading to Cranberry. It passed over low ground that was intersected by several swamps and ravines, which, with woods, completely covered the left of Clinton's line. The American army reached Cranberry, eight miles from Freehold, on the morning of the 26th. On account of a violent storm it was obliged to halt there, but the advance under Lee was within five miles of the enemy. When Washington heard of Clinton's position he ordered Lee to prepare a plan to attack him as soon as he resumed his march, unless it should prove that there were strong reasons for his not doing so. On the evening of the 27th Lee called his officers together only to tell them that no plan could be decided upon until the field was reached. At sunrise on the morning of the 28th, Knyphausen, with the baggage, began his march towards Middletown. At eight o'clock he was followed by the rest of the army. Scarcely had the rear-guard moved from its ground when it was fired upon by the militia under Dickinson. The militia were forced to retire, and as they did so were met by Lee's detachment as it advanced from Englishtown. On account of conflicting information the Americans halted for a short time, and then engaged the enemy and drove them towards their retreating columns. As matters were growing serious, Clinton reinforced his rear-guard, and the fighting promised to become general. But Lee had no faith in the ability of the Americans to cope with the British, and as the latter occupied strong ground he withdrew his men. From the time Clinton began his march across Jersey, Lee had contended that all the Americans could hope to do was to fall upon some isolated party of the enemy and either rout or capture it. To effect this he endeavored to draw the rear-guard of the British across the ravines intersecting the low ground west of Freehold, and while they were thus separated from the main body to defeat them. But his men could not understand his strategy. As they were withdrawn from one position after another they lost heart. It seemed to them that they were flying from a shadow, and so frequently were they ordered back that the retreat became rapid and confused. When Washington heard that Dickinson had engaged the enemy he again sent word to Lee to attack them also, unless there were powerful reasons for the contrary, and he would support him with the entire army. The day was excessively hot, and the men threw off their knapsacks that they might march more quickly. As they came to the church which stands between Englishtown and Freehold, stragglers were met who told them that Lee was retreating. Unwilling to believe the story, Washington spurred to the front to learn the truth. After passing the ravine which borders the low ground we have spoken of, on the west, he met Lee and his men in full retreat. A stormy scene ensued. Overwhelmed by the[400] indignation which Washington manifested, Lee vainly endeavored to excuse his conduct. Little time, however, was lost in wasting words. Calling upon Colonels Stewart and Ramsey, who were near him with their regiments, to check the enemy, then but two hundred yards distant, Washington crossed the ravine in his rear, and formed his men as they came up on its western bank. Greene was placed on the right and Stirling on the left, while Wayne remained east of the ravine in front of Greene. In this position a severe engagement took place. Encouraged by the retreat of Lee, Clinton sent additional reinforcements to his rear, and vainly strove to drive Washington from his chosen ground. A battery under the Chevalier de Mauduit Duplessis, planted on an elevation on Greene's right, kept up an effective fire on the enemy's left, while Wayne repelled a desperate charge led by Lieutenant-Colonel Monckton, in which that officer fell at the head of his men. Night ended the conflict, and both parties slept on the ground which they had occupied. At midnight Clinton withdrew his troops, and, leaving his dead unburied, resumed his march to Middletown. He retired so silently that Poor, who lay close to his right, was not aware of the movement, and on the morning of the 29th the Americans found themselves alone on the field. By daybreak Clinton was on too strong ground to be attacked, and after resting his men a few days Washington marched to the North River, and Clinton embarked for New York.
The battle of Monmouth, as the conflict at Freehold was called, was the last general engagement fought on Northern soil. The Americans had 229 killed and wounded, the British over 400. Besides this, the latter lost many by desertion on their march, and numbers fell from the effects of the heat, which registered ninety-six degrees on the day of the battle.
Lee's conduct would probably have passed unnoticed had he not, in a letter to Washington, endeavored to defend himself, while he demanded the grounds which called forth the remarks addressed to him on the battlefield. The letter was written in a highly improper spirit, and the result was a court-martial, that found Lee guilty of disobedience of orders, misbehavior before the enemy, and disrespect of the commander-in-chief. For these reasons he was suspended from command for twelve months, and before he was again ordered to service he was dismissed from the army for having written an impertinent letter to Congress.
Before leaving Valley Forge, Washington directed General Arnold, who had not fully recovered from the wounds received at Saratoga, to proceed to Philadelphia and take military command of the city. The duties assigned him were of a delicate nature. Congress had ordered that when the Americans took possession of the city no goods should be sold or removed until their ownership had been decided upon by a properly constituted commission. The object of this was to secure for the army such goods as the British and Tories might have abandoned or parted with at nominal prices to their friends. In his instructions to Arnold, Washington had referred him to the resolutions of Congress for his guidance, and had urged him to take[401] every step in his power to preserve tranquillity and give security to individuals of every class until the restoration of civil power. Arnold arrived on the morning of the 19th of June, and with the approbation of several of the principal citizens issued a proclamation that closed the stores and suspended business. It also commanded the citizens to make returns to the town major of goods in their possession, beyond those needed for family use, that the purchasing agents of the army might contract for those they required. The temptation to benefit himself by the power he now exercised was greater than Arnold could withstand, and three days after he issued his first proclamation he entered into an agreement with the clothier-general of the army and another individual, that all goods purchased for the public and found to be superfluous should be charged to them and sold for their joint account. It soon became noised about that Arnold was personally interested in the purchases ostensibly made for the government, and although the secret of the agreement was preserved until after his treason, the knowledge of his speculations in Montreal gave such a color of truth to the rumor that the community were greatly dissatisfied: besides, he took up his abode in a spacious mansion on Market Street, formerly the residence of Governor Penn, which Howe had just vacated, and entered upon a style of living far beyond his means.
When the exiled Whigs returned to their homes they found the city in a filthy condition, and its surroundings a scene of desolation. The houses in the built-up portions of the city were not much injured, but many of them had been stripped of their furniture, and the papers were filled with advertisements of missing articles which the owners hoped to recover. The Supreme Executive Council resumed its sessions in Philadelphia on the 26th of June. Its patriotic president, Thomas Wharton, Jr., had died at Lancaster the month previous, and it was presided over by the vice-president, George Bryan. The Congress assembled more slowly. On the 2d of July a few delegates gathered in the State House, and two days afterwards celebrated the anniversary of Independence at the City Tavern; but it was not until the 7th that a sufficient number were present to conduct business. On the 12th, Gérard, the French ambassador, arrived. Until a suitable residence could be found for him he was the guest of Arnold. Congress received and entertained him on the 6th of August. No opportunity was lost of honoring the new ally. On the birthday of Louis XVI. the president and members of Congress called upon his ambassador and offered their congratulations, and on the 25th were in turn entertained by Gérard.
In the midst of their rejoicings the Whigs did not forget the Tories, whom they looked upon as promoters of their sufferings. Many of them had been attainted of treason while the government was at Lancaster, but the most obnoxious had gone off with the British. Such as remained were summoned before the authorities, and so great was the clamor against them that several were executed for aiding the enemy. The new Constitution had been put into effect, but it was opposed by a number of conscientious[402] Whigs, and its administration was largely in the hands of new men, who did not command universal respect. The depreciation of the currency had also a demoralizing effect. Speculation ran wild, and the greatest extravagance prevailed. The prices of all kinds of commodities rose to enormous figures, and the attempts of Congress to regulate them by law and fix the value of the currency only served to increase the evil. The community was soon divided into two classes. The Anti-Constitutionalists and the Tories formed one party; the supporters of the new government the other. The latter zealously advocated all the measures of Congress, and, classing their opponents under the one head of "Tories", accused them of being the authors of all the difficulties that embarrassed the government; it was through their efforts that traitors were allowed to go unpunished, and the necessaries of life locked up so that higher prices could be wrung from the people. "Party disputes and personal quarrels", wrote Washington from Philadelphia, in December, "are the great business of the day; whilst the momentous concerns of an empire, a great and accumulating debt, ruined finances, depreciated money, and want of credit ... are but secondary considerations." "Our money", he continued, "is now sinking fifty per cent. a day in this city; and yet an assembly, a concert, a dinner, or a supper, that will cost three or four hundred pounds, will not only take men off from acting in this business, but even from thinking of it."
It was in a community thus rent by faction and passion that Arnold commanded. The early restoration of civil power limited his authority, but his arrogance soon brought him in conflict with the new government. Unable to brook the restraint it put upon him, he joined its opponents, and was soon the centre of a gay and fashionable circle that gladly added so distinguished a soldier to their number. Arnold at that time was a widower, in his thirty-eighth year. He was of a susceptible nature, and before long fell in love with Miss Peggy Shippen, the daughter of Edward Shippen, a leading lawyer of character and position, whose political opinions caused him to be numbered among the disaffected. In this company the temptations to spend money were not easily resisted, and Arnold soon yielded to them. He gave elegant entertainments, and lived ostentatiously, if not extravagantly. He was soon involved in debt, and in the hopes of extracting himself entered into questionable speculations. His quarrel with the state authorities became more bitter, and in February, 1779, the Council published a series of charges which were referred to Congress. The committee who considered them failed to find Arnold guilty of any intentional wrong, and on the 19th of March he resigned the command of Philadelphia, and on the 8th of April was married to Miss Shippen. The Pennsylvania authorities were dissatisfied with the action of the committee of Congress, and succeeded in having the case reconsidered. After considerable delay, it was determined that the whole matter should be referred to a court-martial, to be appointed by the commander-in-chief. The court met in December, and the following month found Arnold guilty of two of the charges that had[403] been preferred against him. The most serious one, that of speculating in goods bought for the public while the stores were closed, was not sustained for want of evidence, which was not discovered until after his treason. The acts he was found guilty of were indiscretions rather than crimes; and for these he was sentenced to be reprimanded by the commander-in-chief.
EDITORIAL NOTES ON THE SOURCES OF INFORMATION.
During the movements of Washington to check the British in their attempts to secure New York, what Congress called a flying camp was formed of some militia in Jersey, under Mercer, to impede the enemy's advance in case he turned towards Philadelphia.[888]
In Nov., 1776, Washington, crossing into New Jersey,[889] left Lee in command on the New York side, but Washington, at first requesting, afterwards instructed Lee to follow him (Sparks's Washington, iv. 168, 186-7, 193; 5 Force, iii. 779; N. Y. Hist. Soc. Coll., 1872, p. 267). Lee's secret purpose was to find some excuse for delaying, and so to prolong his independent command, with a chance of making a brilliant stroke. He endeavored at first to quiet Washington's importunities by detaching a part of Heath's force at Peekskill, but Heath would take orders only from Washington (Memoirs).[890] Finally Lee was moved to follow (Dec. 2d and 3d), and while crossing Jersey "to reconquer it" he was surprised at his transient quarters, Dec. 13, 1776, and captured. Captain Bradford, Lee's aid, gave Stiles the account which is entered in his diary (Johnston's Campaign of 1776, Docs., p. 146, and N. E. Hist. and Geneal. Reg., 1860, p. 33).[891]
(From the Gentleman's Magazine.)
We have abundant evidence of the consternation which ensued in Philadelphia upon the advance of the British to Trenton.[892] The political condition of the government of the colony was[405] very unstable. The colonial charter, under the instigation of Congress (May 10, 1776), had been overthrown by a convention called in the interests of the patriot party, which in July had met to frame a new constitution.[893] This, however, upon its adoption, failed of being effective, by its opponents' obstructive movements to prevent the organization of an executive council, so that in the interim the supreme power, such as it was, resided in a Council of Safety, which was hampered in its control of the militia. Such was the conjunction when fear of an invasion came, and the Quaker element was passive under the alarm, and, indeed, antagonistic to measures of resistance.[894]
JOS. REED.
From Du Simitière's Thirteen Portraits (Lond., 1783). Cf. also Heads of illustrious Americans (London, 1783). A likeness by C. W. Peale, engraved by Sartain, is in W. B. Reed's Life of Jos. Reed, vol. i. A copy of the original painting is in the Hist. Society of Penna. There is also the profile likeness in 2 Penna. Archives, xi.; Scharf and Westcott's Philadelphia, i. 279. There is a painting in Independence Hall by C. W. Peale, which differs from that engraved by Sartain.
The Jersey campaign in general can be followed in original authorities in Sparks's Washington, vol. iv.; Force's 5 Amer. Archives, iii.; in Joseph Reed's "Narrative of the movements of the American army in the neighborhood of Trenton in the winter of 1776-1777", which, having been used in Reed's Reed, i. ch. 14, is printed in the Penna. Mag. of Hist., Dec., 1884, p. 391; the account by Congress,—not very correct,—dated Baltimore, Jan. 9, 1777, and sent to France (Lee's R. H. Lee, and E. E. Hale's Franklin in France, 97); and the current reports sent from Boston, Feb. 27, by Bowdoin to Franklin (Hale, p. 110.)[895]
The principal British contemporary accounts are in Stedman, Annual Register, Howe's Narrative, the evidence of Cornwallis in the Detail and Conduct of the War, and Letter to a Nobleman, 1779.
CHARLES LEE.
From An Impartial Hist. of the War in America, Lond., 1780, p. 319, where the print represents his full length. Compare with this a print by Thomlinson, published in London, Oct. 31, 1755, with cannon and a flag bearing the motto "Appeal to Heaven", which is reproduced in Smith's British Mezzotint Portraits, and the engraving by G. R. Hall in Moore's Treason of Charles Lee, and in the quarto edition of Irving's Washington. There is a German print in the Geschichte der Kriege in und ausser Europa (Nürnberg, 1778).
Dr. Moore considers the only picture of Lee which "bears any evidence of authenticity, or answers to the descriptions given by his contemporary friends and biographers", to be one drawn by Barham Rushbrooke at the time of Lee's return from Poland, and showing him dressed in the uniform of an aid of King Stanislaus. It was first engraved in 1813 in Dr. Thomas Gridlestone's treatise to prove that Lee was Junius, and that writer said of it that, "though designed as a caricature, it was allowed, by all who knew General Lee, to be the only successful delineation of his countenance or person." It is familiar in prints, representing his extremely attenuated figure in profile, with a small dog in front of him. It is given in Moore's Treason of Lee; Gay's Pop. Hist. U. S., iii. 460; in Scull's Evelyns in America (p. 295,—also see p. 196); and in K. M. Rowland's "Virginia Cavaliers" in the Southern Bivouac, April, 1886.
There are views of Lee's house in Virginia in J. E. Cooke's "Historic houses in the Shenandoah", in Appleton's Journal, p. 69, July 19, 1873, and in Mrs. Lamb's Homes of America.
The principal sources of Lee's history are: Edward Langworthy's Memoirs of the Life of the late Charles Lee, to which are added his Political and Military Essays (London, 1792; Dublin, 1792; New York, 1792, 1793). It was reproduced as Life and Memoirs of Maj.-Gen. Charles Lee (N. Y., 1795, 1813), as Political and Military Essays, with Memoirs, etc., 2d ed., with App. (London, 1797), and with new title as Anecdotes of the late Charles Lee, Esq. (London, 1797). Cf. Sparks's Life of Charles Lee (1846); Moore's Treason of Lee; the Papers of Charles Lee, published by the N. Y. Hist. Soc. in their collections; Irving's Washington, i. 377; Fonblanque's Burgoyne, 160; Jones's N. Y. during the Rev., ii. ch. 23; John Bernard's Retrospections of America (1887), p. 96.
The story is also told in local monographs,[896] and by the general historians.[897]
On the temporary clothing of Washington with dictatorial powers, see the Circular of Congress (Dec. 28th), explaining why it was done (Journals, i. 585). Cf. also Sparks's Washington, iv. 550; Greene's Greene, i. 292; Thacher's Military Journal, 74; Wells's Sam. Adams, ii. 458, and the adverse views of Abraham Clark in N. Jersey Rev. Corresp., p. 68.
The purpose of some sudden stroke on Washington's part is well indicated.[898] The advance of Griffin with militia was opportune in drawing Donop forward to Mount Holly, so that he was too distant to support Rahl at Trenton.
On the attack on Trenton there is special record from the Washington papers in Sparks (iv. 242, 246, 541), Dawson, i. 20 (to Congress), Mass. Soc. Hist. Col., xliv. 32 (to Heath, and Heath's letter in N. H. State Papers, viii. 445). Others are in 5 Force, iii., a full record of the battle. Congress wrote to the agents in France (Diplom. Corresp., i. 246.)[899]
What is known as the Reed-Cadwalader controversy, hinging upon the alleged weakness or defection of Joseph Reed at this time, is more particularly examined in another place.
On the English side we have Howe's despatch in Dawson (i. 202) Tryon to Germain in N. Y. Col. Doc. (viii. 694). The effect of the battle in England to discourage the expatriated loyalists is told in Hutchinson's Diary, ii. 139. Stedman accuses Howe of bad judgment in placing so unfit a man in command as Rahl. Adolphus (ii. 385), On "private information" supposed to have been Arnold's, says that Arnold suggested to Washington the movement, and Mahon (vi. 130) has followed Adolphus.
TRENTON, PRINCETON, MONMOUTH.
From the map in Marshall's Atlas to his Washington (1804). Cf. also Sparks's Washington, iv. 258; Guizot's Atlas to his Washington. The plans of Trenton and Princeton in Carrington (pp. 270, 302) vary somewhat from the contemporary ones as to roads. The chief contemporary English map of New Jersey is one based on the surveys of Bernard Ratzer in 1769, which was published in London, Dec. 1, 1777, by William Faden, and called The Province of New Jersey, divided into East and West, commonly called the Jerseys (32 × 23 inches). It was improved from surveys by Gerard Banker. It was reissued in fac-simile by the Geological Survey of New Jersey in 1877, and this fac-simile is in W. S. Sharp's reprint of Smith's New Jersey, 1877. Another fac-simile was published in 1884. A second edition of the original was published in 1778, corrected by the British and Hessian engineers.
An American map of the campaign, by Erskine, is given in the illustrated ed. of Irving's Washington, ii. 430. There are English maps in the Gent. Mag., Sept., 1776, and in Stedman's American War. Gordon gives a map (vol. ii. 525). Cf. Lossing's Field-Book, vol. ii.
We have Hessian maps of some of the movements preceding Howe's evacuation of New Jersey in 1777, which are among the Faden MS. maps in the library of Congress, and bear the name of Wangenheim, a "lieutenant dans les chasseurs Hessois, 1777", namely: No. 75, "Plan de l'affaire de Westfield et du camp de Raway, 1777, Jan. 26, 27." No. 76, "Plan de notre camp à New Brunswick, le 12e Juin; notre marche le 14 à Middlebush; la situation du camp le 15e Juin, et celle de Gen. Washington à Boundbrook." No. 77, "Position de notre camp le 24 Juin, 1777, à Perth Amboy."
TRENTON AND PRINCETON.
A section of a large map in the library of Congress, apparently of Hessian origin, Plan général des opérations de l'armée Britannique contre les Rebelles, etc. The broken lines represent roads. The Americans are represented by blocks, half white and half black. The British are solid black. Key: "76, Marche du Général Cornwallis. 77, Marche du Général Knyphausen le 23 Juin, et son camp près de Richardstown."
FADEN'S MAP OF TRENTON AND PRINCETON.
Sketched from a Plan of the Operations of General Washington against the king's troops in New Jersey, from the 26th of December, 1776, to the 3d January, 1777, by William Faden. London, 15th April, 1777. This map also makes part of the American Atlas, and the original MS. draft is among the Faden maps in the library of Congress. The map (the roads being represented by broken lines) bears legends to the following purport: Washington from his headquarters at Newtown moved his men on the evening of December 25th to 1, and by 4 o'clock on the morning of the 26th he had crossed to 2, where he divided his army into two divisions. The left, composed of 1,200 men with ten field-pieces under Greene, but accompanied by Washington himself, proceeded through 3 towards Trenton; the right, under Sullivan, consisting of 1,500 men with ten field-pieces, went through 4. Meanwhile "Erwin's" and Cadwallader's forces came to 5, hoping to cross the ferry, but the ice in the river prevented. At 8 o'clock on the morning of the 26th, Rahl at Trenton was surprised, and the entire force of Hessians with him were captured except 200 men, who, with some chasseurs and dragoons, escaped to "Burdenton", where they net Count Donop, who now, joined by these fugitives, proceeded with his command to Crosswicks, thence to Allenstown and Princeton. Washington, after his victory, encamped at 6, where he was reinforced by troops from Virginia, Maryland, and Pennsylvania. On January 2d the position was this: Washington had been confronted at 7 by the advance of Cornwallis at 8. The second brigade of the British under Leslie was at Maidenhead, and Lieutenant-Colonel Mawhood, with the 17th, 40th, and 55th British regiments, was on the road at 10,—all these troops having moved forward from Princeton after Washington's attack at Trenton. During the night of January 2d, Washington having withdrawn his detachments over the bridge, left fires along the southern bank of the Assumpink Creek to deceive the British, and marched from his camp at 6 to Allenstown, then turned towards Princeton, but his force in part left the road, and by the dotted line proceeded to 9, and on the morning of Jan. 3d attacked Mawhood at 10. Of the three British regiments here, the 17th was driven upon Leslie at Maidenhead, while the 40th and 55th retreated through Princeton and Kingstown towards Brunswick, beyond 12. Washington followed them to Kingstown and encamped there on Jan. 3, after having broken down the bridge over the Millstone to interfere with Cornwallis's overtaking him. On Jan. 4 Washington took the road through 11 to the passes in the hills, while Cornwallis, reaching Kingstown the same day, proceeded through 12 towards Brunswick.
TRENTON.
Wiederhold's plan from the archives at Marburg, sketched from a fac-simile furnished by Mr. E. J. Lowell. (Cf. his Hessians, 92.) A marks the centre of the village. The Hessian outposts were at B, one officer and 24 men; C, Captain Altenbocum's company of the Lossberg regiment, quartered in the neighborhood, which formed in front of the captain's quarters, while the picket at B occupied the enemy; D, one captain, one officer, and 75 men; E, one officer and 50 Jägers, who retreated over the bridge on Sullivan's approach; F, one officer and 30 men, who joined Donop over the Bordentown road. The two columns of Washington and Sullivan emerged from the woods at G G. The broken lines (— — — —) indicate their line of march and successive positions, till they surrounded the Hessians. The beginning of the dotted lines (. . . . .) in the village shows where the Hessians attempted to form; but Rahl and Lossberg were driven back to H, and Knyphausen to J, and surrounded they surrendered. Knyphausen endeavored to reach the bridge, having with him the Lossberg cannon, which got stuck in the marsh at K, and the delay in extricating them was sufficient for Sullivan to occupy the bridge and cut off Knyphausen's retreat. His own cannon were at M, and were not used. Rahl's cannon were at N, and early dismounted. The Americans used cannon at s s s, etc. There is also among the Rochambeau maps (no. 18) a map done in faint colors, with an elaborate key, which is marked Engagement de Trenton, by Wiederhold, measuring about eight inches wide by ten high. A French plan is given in Mag. of Amer. Hist., 1880, p. 369. Cf. map in Raum's Trenton; Lossing's Field-Book, ii. 228 (with Rahl's headquarters, p. 228, and a view, p. 222). Carrington's special map of Trenton (p. 278) gives more detail than the contemporary plans.
Bancroft (ix. 217; cf. Irving, ii. 466) notes the Hessian journals which he had used.[900]
The affair at Princeton has special treatment in the Washington papers (Sparks, iv. 259; Dawson, i. 204), and is necessarily covered by the general historians.[901] On the English side Howe's letter (Jan. 5, 1777) to Germain is the principal source, and it will be found in Gent. Mag., Feb., 1777; C. C. Haven's Thirty days, 60; Dawson, i. 210. Cf. Mahon, vi. 132.[902]
FROM WILKINSON'S ATLAS.
Sullivan delayed at F to give Washington a chance to make his longer detour by A before he (Sullivan) advanced by D. Washington attacked at B, and threw out riflemen at G and H. Rahl, deserted by a part of his force, who fled to Donop at Bordentown, surrendered at I, when he became aware of Sullivan's approach behind him.
Wilkinson also gives a map showing the movements between Dec. 25, 1776, and Jan. 3, 1777, and this is the basis of the map in C. C. Haven's New Historic Manual concerning the battles of Trenton and Princeton (Trenton, 1871).
FROM WILKINSON'S ATLAS.
The advance, with which Wilkinson was, came by G to the vicinity of the wood A and Quaker meeting-house B. The main column turned off and followed the line b. Gen. Mercer proceeded to f. A detachment of the British at d, with officers reconnoitring at a a, discovered the American line on the route h; but coming to g, they also discovered Mercer at f, who wheeled by the line c, and gaining the orchard of Wm. Clark's house (5) confronted at 1—2 the British detachment now formed at 3—4. The Americans retreated when the British advanced to the slope (o o o), where they saw Moulder's battery, X, near Thomas Clark's house (7), which Washington had sent from his main line at h, together with other troops by the line r r, which induced the British to retreat on the line e e, while Mawhood, their commander, fled with a few infantry by the line, s s. At this juncture another British regiment, which had advanced from Princeton to C, fell back, and joining other troops took post at K and C, where they confronted Washington's main body, which now deployed at i i; and as the Americans attacked, the British fled to the college building (P), and then beyond by the route t t. Cf. plan in Lossing's Field-Book, ii. 235. Carrington's plan of Princeton (p. 278) gives further details from later study.
CAMPAIGN OF 1777.
A map in Captain Hall's Hist. of the Civil War in America (London, 1780), vol. i.
Howe's campaign of 1777 was the ruin of his military reputation.[903] Jones, in his severe criticism upon Howe, unjustly charges Galloway with making the suggestion of the expedition to the Head of Elk.[904] It is certain that Galloway threw himself upon Howe's protection not far from the time when Howe committed himself to a plan of capturing Philadelphia. About the same time it has been charged that General Lee, by a treasonable project, aided Howe's purposes in the same direction.
CAMPAIGN OF 1777.
From Galloway's Letters to a Nobleman, London, 1779. Key: A, the British army before the battle of Brandywine. B, Gen. Knyphausen's advance to the attack. C, Lord Cornwallis having turned the right wing of the rebel army. D, Sullivan advanced to oppose him. E, position of the rebel army. F, General Howe's quarters, in which he remained five days after the rebel defeat. a a a, Washington's retreat to Chester and Philadelphia. G, his camp at Chester, where he remained fourteen hours after the battle. The roads with the zigzag mark show those by which the rebels might have been intercepted after the battle. H, Washington's flight after the skirmish at Goshen. I, Washington's retreat when Sir Wm. Howe crossed the Schuylkill. K, Washington's camp, whence he marched to surprise the British army at Germantown, and to which he retreated after the battle. L, Washington's camp at Whitemarsh. (For his headquarters see Lossing's Field-Book, ii. 321, and his Mary and Martha Washington, p. 162.) M, the first position of the British. N, the second. O, O, O, where Washington's camp might have been attacked with advantage. P, British camp at Germantown. The line ——— denotes marches of the British army; the line of dots . . . . . . . . the marches of the rebel army. Q, Washington's lines at Valley Forge in the winter 1777. R, R, R, R, R, positions which might have been taken to besiege or assault the rebel quarters. S, the bridge. This map is also reproduced in The Evelyns in America, p. 252.
The principal contemporary engraved maps of this part of the country were the 1770 edition of Scull's Map of Pennsylvania (see Vol. V. p. 240), which was at this time included in the American Atlas (London, 1776), and the Atlas Amériquain (Paris, 1777), and Pownall's edition, 1776, of Evans's Map of the Middle Colonies (see Vol. V. p. 85), as well as Jefferys' edition, 1775, of the same, not so accurate. To these might be added Montresor's Province of New York and Pennsylvania, 1777; Mellish and Tanner's Seat of War in America; Faden's map of July 1, 1778, given in fac-simile in the Penna. Mag. of Hist., i. 285; the maps in the Gentleman's Mag., 1776 and 1777; Almon's Seat of War in New York, New Jersey and Pennsylvania, 1777. A modern map, covering the same field to illustrate the campaign, is given in Theodore W. Bean's Washington at Valley Forge one hundred years ago, and is repeated, with a few changes, in Proceedings at the Dedication of the Paoli Monument (Westchester, 1877). The contemporary French maps are Du Chesnoy's Théâtre de la Guerre, 1775-1778, Beaurain's Carte pour servir à l'intelligence de la guerre (Paris, 1777), Brion de la Tour's Théâtre de la Guerre (Paris, 1777), with another by Phelippeaux "pour servir de suite", and Bourgoin's Théâtre de la Guerre (Paris). There is a German map in the Geschichte der Kriege in und ausser Europa. There is in the Maryland Hist. Soc. library a map of stage routes between Baltimore and New York, showing the operations of the British from Elk River (1777) to Neversink (1778). (Lewis Mayer's Catal. of MSS. etc., in Maryland Hist. Soc., 1854.)
Cf. also the maps in Sparks's Washington, v. 66; Moore's Diary of the Revolution, orig. ed., 495; Penna. Archives, 2d ser. vol. iii.; Moorsom's Fifty-second Regiment; Hamilton's Coldstream Guards; Carrington's Battles, p. 398.
George H. Moore laid before the N. Y. Hist. Soc., in June, 1859, the document in Lee's handwriting, dated March 29, 1777, while he was a prisoner in New York, in which he sketches a plan for Howe's guidance in the coming campaign. The "plan" in fac-simile, together with an elucidation of it, was printed in Moore's Treason of Charles Lee, New York, 1860. The "plan" is also in N. Y. Hist. Soc. Coll., 1872, p. 361. Lee was at that time trying to induce Congress to send commissioners to New York to confer with him (Bancroft, ix. ch. 19), but Congress was not ensnared. Moore contends (p. 84) that the "plan" is responsible for Howe turning towards Philadelphia, instead of going north to help Burgoyne. Bancroft (ix. 333; also see p. 211) asserts that it could have had no influence on Howe's movements.[905]
Lecky quotes Galloway's testimony, that of the 66,000 men voted by Congress for this campaign, hardly 16,000 were in the field. Bancroft admits that no one better than Marshall (iii. ch. 3) has described the part of Washington in this campaign.[906]
At the opening of the campaign Washington was kept long in suspense as to the purpose of Howe. The eastern people feared his object was Boston.[907] Alexander Hamilton early in the season had become Washington's aide, and his letters at once begin to contain speculations on Howe's purpose (Works, Lodge's ed., vii. 481,[417] 496, 500). On May 28th, Washington moved his headquarters from Morristown[908] to Middlebrook, and it was thought Howe would attempt to march direct for Philadelphia. On June 12th, Sullivan writes to Weare that Howe was to be confronted the next day (N. H. State Papers, viii. 584); and when it was known that Howe was retiring towards New York, Washington, June 23d, little credited a report, then prevalent, that the British army was panic-struck (Mass. Hist. Soc. Coll., vii. 138).[909] Cf., for all these movements, Montresor's Journal.
GENERAL HOWE.
From The Impartial Hist. of the War in America.
In July, when news came of the fall of Ticonderoga, there were no signs that Howe was preparing to coöperate with Burgoyne, and Hamilton wondered (Works, vii. 507, 515). When Howe sailed from New York, Washington was in suspense.[910] On July 31st, it was learned that Howe's fleet was at the capes of Delaware, and the next day the vessels had disappeared.[911] It was now supposed that Howe had gone to Charleston, S. C., and that Washington might safely reinforce the Northern army (Hamilton's Works, vii. 517). Lafayette first took his seat at a council of war called to consider the propriety of this (Sparks's Washington, v. 445).
In August, 1777, Gen. Sullivan conducted a raid into Staten Island to seize Tories. He captured some papers which implicated the Philadelphia Quakers in inimical movements. (Cf. Journals of Congress, ii. 246, 253.) In other respects the incursion was unfortunate, and his movements were examined by a court of inquiry, which acquitted him.[912]
Howe had been six weeks at sea, with three weeks' provisions, when he landed at the Head of Elk.[913]
Upon Washington's march to confront Howe, see, for the preliminary movements, William J. Buck's paper on "Washington's Head Quarters on the Neshaminy", in the Penna. Mag. Hist., i. 275.[914]
GENERAL SIR WILLIAM HOWE.
From Andrews's Hist. of the War, London, 1785, vol. i. It is reëngraved in Gay's Pop. Hist. U.S., iii. 412. Cf. engraving in Irving's Washington, illus. ed., New York, 1857, ii. Sargent gives a clever presentation of the character of Howe in his André, p. 136.
Upon the battle on the Brandywine the main American source is the letters of Washington. With Washington's aid, R. H. Harrison wrote to Congress from Chad's Ford, Sept. 11th, at 5 P. M., a letter which was at once circulated in broadside (Sabin, iii. p. 463; Hildeburn, no. 3,533). Pickering drafted for the commander-in-chief the report (Life of T. Pickering, i. 157) written at Chester, at midnight, September 11th (Sparks, i. 251; v. 58; Dawson, i. 278). Hamilton was on Washington's staff (J. C. Hamilton's Life of Hamilton). C. C. Pinckney, also on the staff, wrote a letter in 1820 (Hist. Mag., July, 1866, x. 202). Marshall, as a participant, drew somewhat upon personal experience in his account in the Life of Washington. Lafayette's narrative, as given to Sparks, is in the Sparks MSS. (no. xxxii. Cf. also Lafayette's Mémoires). There is a journal of Capt. William Beatty, of the Maryland line, in the Hist. Mag., 2d. ser., i. 79. Sparks examines some of the disputed points of the battle.[915]
There are contemporary records and opinions in the Penna. Archives, 2d ser., x. 316; the letter of the N. H. delegates in Congress in N. H. State Papers, viii. 678; current reports in Moore's Diary, 495; gossip in Adams's Familiar Letters, 296, etc.; Knox's account (Sept. 13th) in Drake's Knox, 48.[916]
On the British side, we find Howe's report, Oct. 10th, to Germain in Almon, v. 409; Dawson, i. 281. Cf. the evidence before Parliament in the Conduct of the War and the narrative in Stedman.[917]
The Hessian participancy is examined in Lowell's Hessians, 197. Bancroft quotes Ewald's Beyspiele grosser Helden as the testimony of an eye-witness of Washington's well-conducted retreat.[918]
A portion of the British troops used breech-loaders.[919]
The movements of the opposing armies toward Philadelphia can be followed in the main in the authorities cited for the battle. Some local details are in Pennypacker's Phœnixville, and an account of the damage done by the British on the march is in Smith's Delaware County (p. 544).
For the Paoli attack, we have Wayne's defence at the court-martial in Dawson, i. 315, and in the One hundredth anniversary of the Paoli massacre, p. 52, which last contains also, beside sundry contemporary records, the addresses of J. S. Futhey (also in Penna. Mag. Hist., i. 285) and Wayne McVeagh. The report of Howe to Germain is in Dawson, i. 317.[920]
On Sept. 26th, Washington described the state of the army, then at Potsgrove (Mag. Amer. Hist., Nov., 1884, p. 461). He was foiled by a rain in an effort to hold the British once more at bay, and Howe entered Philadelphia.[921]
Note to the Opposite Map.—Washington's map of the Brandywine campaign, on the opposite page, is reduced from a tracing of the original in the possession of the Pennsylvania Historical Society. The legends upon it in Washington's handwriting are noted in the following key by letters, while those of the surveyor are given by figures. At one end of the map is the following inscription: "Laid down at 200 ps in an Inch, the 27th day of August, An. Domi 1777. Pr Jais. Broom, Survr. N. Castle Coy." At the other end is the following table:—
| "m. | q. | ps. | ||
| From Chester County to Brandywine | 7 | 0 | 21 | |
| From Brandywine to New Castle | 6 | 1 | 19 | |
| From New Castle to Red Lyon | 7 | 1 | 0 | |
| From Red Lyon to St. George | 3 | 2 | 46 | |
| From St. George to Cantwell's Bridge | 7 | 0 | 60 | |
| From Cantwell's to Blackbird | 5 | 2 | 70 | |
| — | — | — | ||
| 37 | 0 | 56 | ||
| From Chester County to Brandywine | 7 | 0 | 21 | |
| From Brandywine to Newport | 4 | 0 | 79 | |
| From Newport to Bridgetown | 5 | 0 | 12 | |
| From Bridgetown to Red Lyon | 4 | 0 | 19 | |
| From Red Lyon to Harris Inn | 5 | 2 | 51 | |
| From Harris Inn to Witherspoon's | 6 | 1 | 44 | |
| From Witherspoon's to Blackbird | 6 | 1 | 42 | |
| — | — | — | ||
| 38 | 3 | 28 | ||
| From New Castle to Christiana Bridge | 4 | 3 | 45 | " |
Key: A, Chandler Ford, very good, but very broken ground and narrow defiles on the Et. side. B, Fording place by Thomas Gibson's. C, To Gibson's Ford. D, Road leading to Kennet's Square. E, Road leading towards Red Clay Creek. F, Hendrickson's Tavern. G, Richland fording place. H, Tavern. I, Smith's Store. J, James Walker. K, Mill Town. L, Rising Sun Tavern.
1, The Bottom Road, passing Brandywine at Chad's Ford (18). 2, Newlin's. 3, The line dividing the counties of Chester and Newcastle. [This is the curved northern boundary of Delaware.] 4, Gibson's Mill. 5, Gibson's Ford. The Center Road [runs to F]. 6, Kennet Meeting-house. 7, Clark's Inn. 8 [to 7 and beyond], The Road leading from Wilmington to Kennet's. 9, Naaman's Creek. 10, Grubb's Inn. Grubb's Road [leads from 10 to 5]. 11, The Road leading from Wilmington to Chester. 12, Shelpot Creek. 13, Foulk's Road. 14, The Concord Road. 15, Brandywine Creek. This creek, except the fording place, impassable. 16, Bridge. 17, M'Kim's [?] Mill. 18, Chad's Ford. 19, 20, Delaware River. 21, Wm. Miller's Mill. 22, Red Clay Creek. 23, Christiana River. 24, The Borough of Wilmington. 25, The Road leading from Wilmington towards Lancaster. 26, Mill Creek. 27, Bridge. 28, The Road leading from Wilmington to Newcastle. 29, Ferry. 30, Newport. 31, The Road leading from Newport towards Lancaster with bridge at 32. 33, The Lancaster Road. 34, Mill creek. 35, Bridge. 36 [to 46], White Clay Creek. 37, New Castle. 38, The Road leading from N. Castle to Christiana Bridge. 39, Bridge [Christiana]. 40, Hamburgh. 41, [The Road] to the Red Lyon. 42, The Road leading from New Castle to the Elk River. 43, The Road leading from Christiana Bridge to Elk River. 44, Ogle Town. 45, The Road leading from Ogletown to the Head of Elk. 46, Mill of Capt. Black's. 47, 48, [Shaded space showing where the original is worn through]. 49, Newark. 50, The Road to Johnson Ferry on Susquehanna. 51, [Road to Nottingham]. 52, Iron Hill. 53, The Road leading from Red Lyon to Black Bird Creek. 54, St. George's Creek. 55, Mill Pond. 56, Trap [?] 57, Drawyer's Creek. 58, Appoquinimink Creek. 59, Cantwell's Bridge. 60, Witherspoon's. 61, Part of Bohemia. 62, The upper Road leading from Red Lyon to Blackbird Creek. 63, Clemon Mill. 64, Elk. 65, Part of Elk River. 66, Joseph Gilpin's. 67, Harris Inn. 68, The Road leading towards Bohemia.
Sullivan, with the charge of inefficiency for Brandywine still hanging over him, was the first to encounter the outposts of the British at Chestnut Hill, when he opened the day of Germantown. His letter (Oct. 25th) addressed to the president of New Hampshire was first printed by Sparks.[922]
Washington's letters to Congress and others are of the first importance.[923]
In Timothy Pickering's Life (i. 166) there is an account of the battle from his journal, which sustains the positions taken by Pickering in 1826,—though he does not refer to it at that time,—in the controversy which was waged by him and Sparks with Johnson, the author of the Life of Greene.[924]
BRANDYWINE.
Sketched from a large MS. Hessian map in the library of Congress, Plan générale des opérations de l'armée Britannique contre les Rebelles, etc. Key: "19, Marche de l'armée pour New Gardens. 22, Marche du général Knyphausen pour Kennet Square, 9 Sept. 24, Camp que l'armée occupa aux environs de Kennet Square. 26, Marche du général Cornwallis vers le Brandywine. 30, Première position du Gen. Cornwallis. 31, 2me position de ce général. 32, Attaque de ce général. 33, Position des enemis. 34, Retraite des enemis. 38, Marche du corps detaché à Wilmington. 57, Marche du corps detaché à Wilmington pour Philadelphia le 16 Oct." The lines (·–·–) represent roads.
The published plans of Brandywine are the following: In the Examination of Joseph Galloway and letters on the Conduct of the war. In Sparks's Washington, v. 58. Cf. also Duer's Stirling, ii.; Irving's Washington, iii. 190. In Marshall's Washington, vol. v. Sketch by J. S. Bowen and J. S. Futhey in Penna. Hist. Soc. Bull., i. no. 7 (1846). In Penna. Archives, 2d ser., x. 316; Carrington's Battles, p. 382; Hamilton's Grenadier Guards, ii.; Lowell's Hessians, 198; Lossing's Field-Book, ii. 377 (with views of the ground, 378, 379).
There are among the Faden maps (nos. 78, 79) in the library of Congress a careful topographical drawing of the battle of Brandywine, and a corrected proof of the map as published by Faden in 1778. There are among the Faden maps (nos. 80, 80½) plans, by the Hessian Wangenheim, of the camp at Wilmington to cover the British hospitals after the fight at Brandywine, and a map of the positions of the army in the action of Sept. 19th, as well as Cornwallis's march in November to Philadelphia.
Of the writers near the event, Gordon drew from original sources; Marshall was an actor in the scenes; and there are accounts in Wilkinson, i. 353, 359, 361. G. W. P. Custis's Recollections, ch. 4, and the later writers need to be consulted.[925]
On the English side, Howe's despatch to Germain is in Dawson (i. 330). The letter of a British officer, dated Philadelphia, Oct. 19, 1777 (London Chronicle, Jan. 3-6, 1778), is reprinted in Penna. Mag. of Hist., April, 1887, p. 112.[926]
TRUDRUFFRIN, OR PAOLI.
Sketched from a portion of a MS. Hessian map in the library of Congress, called Plan générale des opérations de l'armée Britannique contre les Rebelles, etc. The lines ·–·– represent roads.
Key: "41, marche du général Knyphausen et son camp le 18me; 42, marche du général Cornwallis le même jour; 43, camp du corps près de Valley Forge; 44, corps des Rebelles surpris par le général Grey le 21me; 45, camp et marche du général Knyphausen le 21me; 46, marche de l'armée par le Schuylkill près de Valley Forge, et le camp qu'elle occupa le 23me près de Norris Town House." The British are shown in solid black blocks, the Americans in black and white.
Note.—This map is a fac-simile from one of Faden's maps. There is among the copies of the Lafayette maps in the Sparks collection at Cornell University one of the British Camp at Trudruffrin, from the 13th to the 21st of September, with the attack made by Major-General Grey against the Rebels near White Horse tavern on the 20th of September. This is merely a transcript of the Faden map, of which there is a fac-simile in Penna. Mag. of Hist., i. 285. Cf. Penna. Archives, 2d ser., x. 316. The MS. of Faden's maps is among the Faden maps in the library of Congress (no. 81). There is a view of the Paoli monument in Scharf and Westcott's Philad., i. 349, and in Lossing's Field-Book, ii. 372.
From Pennsylvania Archives (2d ser., vol. xi. p. 191).
Cf. the maps in Scharf and Westcott's Philadelphia, i. 353, and in Penna. Mag. of Hist., i. 375.
The seaward defence of Philadelphia depended on the forts Mercer and Mifflin, on the chevaux-de-frise in the river, and on the Pennsylvania navy. Howe's first attempt, in October, to get his shipping up to support his army failed.[927]
MONTRESOR'S PLAN OF GERMANTOWN.
Note.—This map is sketched after an original in Harvard College library. There is a duplicate, evidently made by the same hand, among the Peter Force maps, in the library of Congress. The map was engraved and published in London. There is a map published by Faden in London, March 12, 1784, which is not trustworthy, however, as to roads, which was called Sketch of the Surprise of Germantown by the American forces commanded by General Washington, Oct. 4, 1777, by J[ohn] Hills, Lt. 23d Reg.
Other published maps are the following: in Johnson's Greene, i. 80 (showing three stages); Sparks's Washington, v. 86 (also in Duer's Stirling, ii. 177; Irving's illustrated Washington, iii. 286; Guizot's Atlas); Carrington's Battles, 392; Lossing's Field-Book, ii. 314; Scharf and Westcott's Philad., i. 354; Penna. Archives, 2d ser., xi. 188; Penna. Mag. of Hist., i. 368.
For views of the Chew House, see Day's Hist. Coll. of Penna., 492; Scharf and Westcott's Philad., i. 356; Egle's Penna., 178; Lossing's Field-Book, ii. 514; Mag. of Amer. Hist. (March, 1880), iv. 192.
The following are the main portions of Howe's despatch to Lord George Germain, dated at Germantown, Oct. 10, 1777: "The enemy marched at six o'clock in the evening of the third from their camp near Skippach Creek, about sixteen miles from Germantown. This village forms one continued street for two miles, which the line of the encampment, in the position the army then occupied, crossed at right angles, near a mile from the head of it, where the second battalion of light infantry and the fortieth regiment were posted. At three o'clock in the morning of the fourth, the patrols discovered the enemy's approach, and the army was immediately ordered under arms. Soon after the break of day the enemy began their attack upon the second light infantry, which they sustained for a considerable time, supported by the fortieth regiment; but at length being overpowered by increasing numbers, the light infantry and a part of the fortieth retired into the village, when Lieutenant-Colonel Mulgrave with six companies of the latter corps threw themselves into a large stone house [Chew's], which, though surrounded by a brigade, and attacked by four pieces of cannon, he most gallantly defended, until Major-General Grey, at the head of three battalions of the third brigade, turning his front to the village, and Brigadier-General Agnew, who covered Major-General Grey's left with the fourth brigade, by a vigorous attack repulsed the enemy with great slaughter. The fifth and fifty-fifth regiments from the right, engaging them at the same on the other side of the village, completed the defeat of the enemy in this quarter. The regiments of Du Corps and Donop being formed to support the left of the fourth brigade and one battalion of the Hessian grenadiers in the rear of the Chasseurs, were not engaged. The precipitate flight of the enemy preventing the two first corps from entering into action, and the success of the Chasseurs in repelling all efforts against them on that side, did not call for the support of the latter. The first light infantry and the pickets of the line in front of the right wing were engaged soon after the attack began upon the head of the village. The pickets were obliged to fall back, but the light infantry, being well supported by the fourth regiment, sustained the enemy's attack with such determined bravery that they could not make the least impression on them.
"Two columns of the enemy were opposite to the guards, twenty-seventh and twenty-eighth regiments, who formed the right of the line. Major-General Grant, who was upon the right, moved up the forty-ninth regiment about the time that Major-General Grey had forced the enemy in the village, and then advancing with the right wing, the enemy's left gave way, and was pursued through a strong country between four and five miles.
"Lord Cornwallis, being early apprised, at Philadelphia, of the enemy's approach, put in motion the two battalions of the British and one of the Hessian grenadiers, with a squadron of dragoons, and his lordship getting to Germantown just as the enemy had been forced out of the village, he joined Major-General Grey, when, placing himself at the head of the troops, he followed the enemy eight miles on the Skippach road; but such was the expedition with which they fled, he was not able to overtake them. The grenadiers from Philadelphia, who, full of ardor, had run most of the way to Germantown, could not arrive in time to join in the action."
GERMANTOWN AND VICINITY.
Sketched from a part of a large map in the library of Congress, evidently of Hessian origin,—Plan générale des opérations de l'armée Britannique contre les Rebelles, etc. (August, 1776 to 1779). From the Renvoy the interpretation of the following numbers is taken: "40, marche du général Cornwallis le 16me; 47, marche du général de Knyphausen vers Germantown et le camp qu'il occupa le 23me près de ce village; 48, marche du général Cornwallis vers Germantown et son camp près de village; 50, campment de l'armée aux environs de Germantown; 51, emplacement des enemies et leur attaque; 52, la maison deffendue par le Colonel Musgrave avec un partie du 40me regiment; 54, retraite de l'enemie." The lines (·–·–) mark the roads.
The chevaux-de-frise at Billingsport was laid by Robert Whyte, who went subsequently over the enemy, and he is charged with placing it purposely in a defective manner. Wallace (p. 228, with plans, p. 134), who examines the evidence, seems to think the charge is proved. Respecting the share of the navy in the defence of the river, the principal sources are the minutes of the naval board, etc., in 2 Penna. Archives, vol. i., and other papers in iv. 748. An examination of this defence is made in Wallace, p. 130, etc.[928]
STENTON (JAMES LOGAN'S HOUSE).
This view of the house occupied by Howe and Washington as headquarters is taken from a painting in the Penna. Hist. Society. It is a rear view of the building. There is in the same collection a pen-and-ink sketch by Joseph Pennell. The position of the house can be seen in the map on another page, called "Approaches to Germantown." Howe occupied it at the time of the battle of Germantown. Cf. Scharf and Westcott, p. 871.
FADEN'S MAP OF THE OPERATIONS ON THE DELAWARE.
Sketched from an adaptation of Faden's Course of the Delaware river from Philadelphia to Chester, exhibiting the several works erected by the rebels to defend its passage, with the attacks made upon them by his majesty's land and sea forces, engraved by Wm. Faden, 1778, which is given in Wallace's Col. Wm. Bradford, p. 228.
Key: 1, Lord Howe in the "Eagle", with the "Apollo" and transports; 2, the "Camille" and "Zebra;" 3, the "Vigilant" and "Fury", which moved up by the dotted line to a position in the channel between Mud Island and Carpenter's Island, to attack Fort Mifflin, on Mud Island; 4, the "Experiment" and transports, below the "lower stackadoes" (shown by the zigzag line) through which there was a passage of seventeen feet near the fort at "Billingport", which was abandoned to Lt.-Col. Stirling, Oct. 1st; 5, camp on Nov. 18th; 6, wreck of "Merlin;" 7, the "Augusta" blown up; at these points (6 and 7) were the other British vessels, "Somerset", "Isis", "Roebuck", "Pearl", "Liverpool", "Cornwallis's galley",—some attacking Fort Mifflin, others engaging the American fleet at 8, others the battery of two 18-pounders and two 9-pounders at 10; the house of Tench Frances is between this battery and Manto Creek; 8, between the American fleet at this point and Mud Island is the "upper stackadoes" (shown by the zigzags); 9, the nearer of the two islands off Fort Mercer is Woodberry Island, and the other is Red Bank Island. These two islands have since disappeared. The rest of the American fleet was at this point. Beside the shore batteries on Carpenter's Island, there was a redoubt further inland, and another redoubt protected Webb's Ferry and the road to Philadelphia.
Upon the attack of Donop on Fort Mercer, at Red Bank (Oct. 22), the letter received by Washington from Major Ward, written at the desire of the commander of the fort, Col. Christopher Greene (cf. Greene's Nath. Greene, i. 489), is in Sparks's Washington, v. 112, and Dawson, i. 355, as is also Commodore Hazlewood's description of the naval part of the attack.[929]
LAFAYETTE'S VICTORY NEAR GLOUCESTER, N.J.
This sketch follows a colored map among the Lafayette maps in the Sparks collection at Cornell University, entitled Carte de l'action de Gloucester entre un parti Américain, sous le Gl. Lafayette et un parti des Troupes de Lord Cornwallis, commandé par ce Gl. après son fourage dans le Jersey, le 25 9bre, 1777. While Lafayette's forces were at Haddonfield, the enemy at Gloucester were reconnoitred from Sand Point (1), and when the troops moved along the Haddonfield road the American riflemen (6), supported by the militia, attacked the Hessian outposts (9), when detachments were stationed on the cross-roads (7, 7) to protect the American right flank, while some chasseurs (8) threatened the Hessians' right flank. The enemy were driven back (10) till Cornwallis supported them with some English. They were still further pushed back till within a mile of Gloucester (11), when night closed the conflict. The legend on the map puts the English and Hessians (2, 3, 9) at 5,000 men, the boats (4) representing the withdrawal of part of them with their baggage across the river.
Lafayette's narrative, as given by him to Sparks, is in the Sparks MSS., no. xxxii.
Lafayette talked with Sparks of Donop (Sparks MSS., xxxii.). Knyphausen's report is in the archives at Marburg, and is used by[431] Lowell (Hessians, 206). The despatches of the Howes are in Almon (v. 499), and Dawson (i. 356, 357).
(From a large map in the library of Congress.)
Of the attack (Nov. 10-16) on Fort Mifflin (Mud Island) and its evacuation, with the opening of the river to the British fleet, the best garner of contemporary accounts with comment, is in Wallace's Bradford (p. 194, etc.), but some of this material is found also elsewhere.[930]
There has been some dispute over the respective claims of Col. Samuel Smith[931] and Commodore Hazlewood for the defence of the fort (Wallace, App. 10).
FLEURY'S PLAN OF FORT MIFFLIN.
Note.—The annexed plan is a fac-simile, somewhat reduced, of a pen-and-ink sketch among the Sparks maps in the library of Cornell University. It is endorsed "Maj. Fleury's Plan of Fort Mifflin", and it bears also on the back in the author's hand these words:
"The engineer author of this imperfect draugh begg endulgence for it; considering that he has not paper, pen, rule, neither circel, and being disturbed by good many shells or cannon balls flying in the fort. Lewis Fleur."
The reverse also bears an "Explanation" in French in Fleury's hand, and beneath an English translation in another hand, seemingly made at the time. This last is as follows:—
"Explanation—All marked A are new works. A 1, 2, 3. Traverses to defend the battery from ricochet shot. A 4, 5. Ditches to close the left of the battery, which was open. A 6. A double iron chain which encloses the right of the battery. A 7. Pits with sharp upright stakes to defend the approaches to our enclosure. A 8. Banquet raised round the wall. A 9. Ditches and parapet of reunion between our barracks, which will make a second inclosure and be furnished with loop-holes. A 10. Last retreat in the middle of the Fort, made when we had only 120 men in garrison. A 11. Demilunes to flank the front, substituted to [sic] the block house, which was blown up. A 12, 13, 14. Fraisework.
"15. Enemy's battery of 2 mortars. 16. [Ditto] 5 pieces large cannon, 1 mortar. 17. [Ditto] 2 pieces cannon, 1 mortar. 18. Unfinished Redoubt at a mile and a third from the fort, near the road. 19. A pretty extensive work at about the same distance. 20. Epaulements for the guards."
ATTACK ON FORT MIFFLIN.
Note.—This map is reduced in fac-simile from one of Fleury's pen-and-ink sketches among the Sparks maps at Cornell University. It is endorsed "Mudd Island", but not by Washington, as the Sparks Catalogue (p. 207) says. There are noted in the same catalogue (p. 207) two other pen-and-ink drafts of the fort and its vicinity, both apparently the work of Fleury, also. One is smaller, covering much the same ground as the present fac-simile except that it does not show the ships and Hog Island. It is entitled: "Figuré aproximatif de fort island et des ouvrages des assiégeans. 16 octobre, 1777." It has an "Explanation" in French on the reverse, accompanied by a statement that it had been scrawled on a gun-carriage, without compasses, rule, or scale, and under difficulties arising from the bursting of one bomb which carried away his inkstand, and of another which ploughed the ground where he sat.
The other plan is larger, and has been folded like a letter, and is addressed on the outside, "His Excellency General Washington, Headquarters." It shows only the west edge of Mud Island, but marks particularly the distance, range, and armament of the attacking batteries, and is called, "Figuré aproximatif des ouvrages des assiégeans 14 9bre, 1777." It marks the distance from the redoubt on the highland to Fort Mifflin as "1 mile 1-4 5 p." The wharf on the island is described as "où l'enemie déscendra, quoi que nous l'ayons detruite."
Other published maps of Mud Island (Fort Mifflin) are in Scharf and Westcott's Philadelphia, i. 363; Lossing's Field-Book, ii. 296; Wallace's William Bradford, p. 229.
Scharf and Westcott (p. 361) also give a plan made before the attack, by Col. Downman, of the British army.
Red Bank is particularly delineated in Smith's Delaware Co., 321; Penna. Archives, 2d ser., vol. v.; and Lossing, ii. 290, with views, etc.
On the British side we have the despatches of the Howes (Dawson, i. 364, 366), the journal of Montresor (Penna. Mag. of Hist., 1882, v. 393; vi. 34); the letters in Scull's Evelyns in America, 246, 253; and the account in Rivington's Gazette, cited by Wallace.
In addition to the references already made for the two attacks, the entire movements on the river are illustrated more generally in the letters of Washington, copied from the Penna. Archives, as well as in the diary of the Council of War in the Sparks MSS., no. 2. There are other contemporary accounts.[932]
Lafayette's attack on Gloucester soon followed. See plan on page 430.
The contrasts between the hilarities of the British in Philadelphia and the trials of the Americans at Valley Forge during the winter are abundantly illustrated.
The publication of the Penna. Evening Post was resumed in Philadelphia, Oct. 11, 1777, and continued during the British occupation of Philadelphia.[933]
Various diaries kept in and near Philadelphia have been preserved,[934] and the details of the life in the town have been worked up by modern writers.[935]
The complimentary festival given to General Howe on his departure, known as the Mischianza, took place May 18th, at the Wharton house.[936]
On the condition of Washington's camp at Valley Forge we have first the testimony of his own letters and those of his corespondents,[937] as well as that of sundry diaries and journals.[938]
The question of supplies as affecting the camp is considered in Stuart's Trumbull and Greene's Greene (ii. 48), this general being made quartermaster-general in March.
ATTACK ON MUD ISLAND.
From Galloway's Letters to a Nobleman, London, 1779. The leading published map of Delaware Bay and River at this time was one surveyed by Joshua Fisher, and published in London by Sayer and Bennett, 1775 and 1776. It was reproduced in Penna. Archives, 2d ser., vol. iii.; and maps based on them are in the Gent. Mag., July, 1779. There was a French edition issued in Paris by Le Rouge in 1777, which also made part of the Atlas Amériquain. Other charts are in the No. Amer. Pilot, 1776, and in the Neptune Américo-Septentrional, 1778.
There are plans for obstructing the river, in Penna. Archives, 2d ser., i. 749. Other maps of the river defences will be found in Sparks's Washington, v. 156; Irving's Washington (quarto), iii. 278; Smith's Delaware County, p. 321; Lossing's Field-Book, ii. 298; Carrington's Battles, p. 396.
There are preserved various orderly-books of the camp.[939]
There were efforts to reorganize the army during the winter. Congress had created a board of war in November, 1777 (Pickering, i. 187; Lossing, ii. 867). On Jan. 10, 1778, a committee of Congress was appointed to visit the camp and concert plans for the reorganization (Journals, ii. 401). A plan was drawn up by conference, and later adopted by Congress (Sparks, v. 525). Francis Dana wrote from the camp, Feb. 12th, to Congress, and the draft, found among the papers of Laurens, was printed in the Polit. Mag. (vol. i.,—1780), by which it was thought to appear that Howe could have destroyed the American army if he had had enterprise.[940]
A few days after the taking of Philadelphia, the Rev. Jacob Duché, of that city, who had been an approved supporter of the Americans, transmitted a letter to Washington, tempting him to desert the cause. Washington sent the letter[438] to Congress; but Sparks could not find it in the Archives at Washington, and prints it from Rivington's Gazette (Corresp. of the Rev., i. 448). The letters which grew out of this act, including one of expostulation from Francis Hopkinson, the brother-in-law of Duché, and that of repentance sent to Washington by Duché in 1783, can be found in Sparks, v. 94, 476.[941]
MUD ISLAND, 1777-1778.
Sketched from a corner map of the large MS. map, called on another page, "The Defences of Philadelphia, 1777-1778."
The military movements during the autumn of 1777 were mainly to try the temper of the opposing forces and to secure forage, and the incessant[439] watching of each other's motions made Pickering write to Elbridge Gerry (Nov. 2d,—Mag. Amer. Hist., Nov., 1884, p. 461) that "since Brandywine we have been in a constant state of hurry."[942]
ENCAMPMENT AT VALLEY FORGE, 1777-1778.
A sketch made by combining two in the Sparks collection at Cornell University. One is a French plan, from the Lafayette maps, which gives the main features of the topography to the present sketch. The other is one transmitted by General Armstrong to Mr. Sparks in 1833, embodying the recollections of a Mr. William Davis, "a remarkably active and intelligent man, who resided within the limits of the camp during its continuance there." General Armstrong cites the testimony of a son of General Wayne, that the recollections of Davis "of the most minute occurrences of the period were entirety unaffected by age." Upon this dependence has been put for the positions of the troops and the quarters of the general officers. The plan given by Sparks (Washington, v. 196) seems to have been made by a similar combination, though he omits the locations of the general's quarters. The plan of Sparks is essentially followed in Guizot's Washington, in Lossing's Field-Book (vol. ii. 334,—also see Harper's Monthly, xii. 307), and in Carrington's Battles, p. 402 (and in Mag. of Amer. Hist., Feb., 1882).
There is a view of Washington's headquarters in Scharf and Westcott's Philadelphia, i. 369; Egle's Pennsylvania, p. 182; Lossing's Field-Book, ii. 332, and in his Mary and Martha Washington, p. 168; and Mag. Amer. Hist., Feb., 1882.
The French alliance was celebrated in camp May 6, 1778 (Sparks, v. 355; Moore's Diary, ii.).
For landmarks, etc., of Valley Forge, see Lossing's Field-Book; Read's Geo. Read (p. 326), from the Ohio State Journal; Harper's Mag., lx., 660, April, 1880.
At the centennial celebration, June, 1878, there were addresses by Henry Armitt Brown (in his Memoir and Orations, edited by J. M. Hoppin), and one by Theodore W. Bean, printed in the Daily Local News, Westchester, Pa., June 20, 1878.
During this time, Oct.-Dec., Washington was kept informed of the British movements through the letters of Maj. Clark (Penna. Hist. Soc. Bull., vol. i.). There was in November a project discussed of taking Philadelphia by storm (Drake's Knox, 136). Congress was urging the States to renewed efforts (N. H. State Papers, viii. 728). Early in December Howe had tried to allure Washington to a battle near Chestnut Hill or Whitemarsh (Sparks, v. 180; Dawson, i. ch. 31). By the middle of December the American army had gone into winter-quarters at Valley Forge (Reed's Reed, i. 345), but not without having thought at the same time of an attack on New York (Ibid., 344).
Note.—This plan of the British works between the Delaware and the Schuylkill is sketched from the main portion of a drawing preserved in the Penna. Hist. Society, which bears the following indorsement: "The redoubts in the English lines are ten, beside two advanced ones. No. 1, which I took a plan of in the month of July, was then compleat, but the excessive heat of the weather and many avocations prevented our prosecuting the survey till October, by which time the wooden work of the other redoubts, as well as the abaties, were carried away, which rendered it uncertain how many platforms there were in each, but from what traces remained [I] believe I am right in nos. 2 & ten: the other seven [eight] varied so little from no. 2, that the plan of that may serve for the rest: I am equally uncertain whether the abatis ran in direct lines from redoubt to redoubt or formed angles, but know that each part terminated at about 20 feet from the counter-scarps of contiguous redoubts, these intervals being occasionally stopped up by chevaux-de-frize. All the 10 redoubts were well faced both within and without with strong planks, but the advanced redoubts and other small pieces were only faced with fascines. On the right of the line where small streams run through swampy ground an inundation was formed by sloping the arches of the bridges, and making dams were necessary, each furnished with a tumbling dam, well planked on the top and slopes of the main dam, to carry off superfluous water.
Lewis Nicola."
Enlarged plans and cross-sections of redoubts nos. 1, 2, and 10 are given in the margin, as well as of the western advanced redoubt, and other small works, including the "Barriers across Kensington and Germantown roads with a cremaillered work between them cut out of the bank between the roads." The stars near the lines denote the places of "houses destroyed by the English." Cf. description in Penna. Mag. of Hist., iv. 181.
DEFENCES OF PHILADELPHIA, 1777-1778.
Sketched from a large MS. map by John Montresor in the library of Congress, dedicated to Sir William Howe, and called Plan of the City of Philadelphia and its environs, shewing the defences during the years 1777-1778, together with the Siege of Mud Island. A similar map by Montresor is among the King's maps in the British Museum (Catal., ii. 176).
VICINITY OF PHILADELPHIA.
Sketched from a part of a MS. Hessian map in the library of Congress, called Plan générale des opérations de l'Armée Britannique contre les Rebelles, etc. The lines (·—·—) are roads. Key: "59, Attaque de mudden island le 15 Novembre. 60, Position du général Howe le 4 Dec. pour forcer le général Washington à quitter sa position sur les hauteurs de White Marsh. 61, Marche du général Howe pour fourages entre Derby et Chester. 62, Camp de l'armée près de Philadelphia. 63, Camp de l'armée après avoir evacué Philadelphia le 26me Juin, 1778. 64, Corps detaché à Gloucester. 65, Marche du général Knyphausen le 18me Juin et son camp à Haddenfield. 66, Marche et camp du général Cornwallis le 18me Juin. 67, Marche du général Knyphausen le 20me Juin et son camp à Moorfield."
The published maps of Philadelphia and its vicinity at this time are the following: N. Scull and G. Heap's, originally in 1750 (cf. Vol. V. 240), and reproduced by Faden in 1777, and reduced in the Gent. Mag., Dec., 1777. Kitchin's Philadelphia and Environs, in London Mag., Dec., 1777, and reproduced in the Penna. Archives, 2d series, vol. iii. A map surveyed by Eastburn in 1776, Philad., 1777; one surveyed by Hill, Philadelphia, 1777. Plan of Philadelphia in the Atlantic Neptune (1777), vol. i. Plan in the American Atlas (1777). Gegend und Stadt von Philadelphia, in Geschichte der Kriege in und ausser Europa, Nürnberg, 1778, Zehnter Theil. There was published by John Reed, in 1774, An Explanation of the Map of the City and Liberties of Philadelphia. A folding plan showing the British works is in Scharf and Westcott's Philadelphia, i. 360. Various MS. plans of Philadelphia and its neighborhood, with the river defences, are among the Faden maps (nos. 82-86) in the library of Congress. Among the Penn papers in the Hist. Soc. of Penna. is a MS. map showing the positions of the British at Germantown before the battle.
In January an attempt by the Americans to destroy the shipping at Philadelphia, by floating combustibles down the river from above, failed; but it gave rise to Hopkinson's humorous verses on the "Battle of the Kegs."[943]
In March Congress was urging young men of spirit and property to raise light cavalry troops (Journals, ii. 463), for Simcoe's British horsemen were raiding about the country for forage, meeting, however, now and then with resistance, as at Quintin's Bridge (March 18th) and Hancock's Bridge (March 21st).[944] At the beginning of May there was another conflict at Crooked Billet.[945] Three weeks later (May 20th) Lafayette skilfully extricated himself from an advanced position at Barren Hill, whither Washington had sent him towards the enemy, and Where the British commander sought to cut him off.[946]
BARREN HILL.
This map is sketched and reduced from a MS. map preserved in the Historical Society of Pennsylvania, signed "Major Capitaine, A. D. C. du Genl. Lafayette", and called Plan de la retraite de Barrenhill en Pensilvanie, où un detachement de 2,200 hommes sous le Général la Fayette, etoit entourré par l'armée Anglaise sous les Gx. Howe, Clinton, et Grant, le 28 May, 1778. It bears the following Key: (translation) a. Position of the American detachment on Barren Hill, eleven miles from Philadelphia and twelve miles from Valley Forge, on the right bank of the Schuylkill. b. Pickets of the Americans, which retired on the approach of the enemy. c. A French company under Captain M'Clean, with fifty Indians. e. Place where the militia were ordered to gather, but they failed to do so. f. March of Maj.-Gen. Grant at the head of grenadiers and chasseurs, and two brigades, making in all 8,000 men, with 15 pieces of cannon. g. Where the enemy were first discovered. h. Americans occupying the meeting-house and burial-ground, deploying to defend their left flank. i. March of the detachment on the second warning to reach Matson's Ford. k. Chasseurs detached to confront Gen. Grant. l. Body of English cavalry, followed by a body of grenadiers and chasseurs. m. March of Gen. Grant, always following the Americans. n. Matson's Ford, which the Americans gained and passed, when they occupied the highlands, o, while a small force was sent to Swede's Ford. p. Rich road by which Howe and Clinton advanced with the rest of the British army. q. Point where Howe and Grant formed, whence, seeing that their attempt had failed, they returned to Philadelphia. r. Road from Swede's Ford, by which the American detachment returned the next day to occupy Barren Hill.
There is among the Sparks maps at Cornell University a duplicate copy of this map, made from Lafayette's original. Cf. maps in Sparks, v. 378; Carrington's Battles, p. 408; Lossing, ii. 329; and the view of the church (p. 322).
Clinton, on relieving Howe from the command in Philadelphia, was instructed to evacuate the city (Sparks, v. 548). This materially changed the plans for the campaign, which had been determined upon prior to the announcement of the French alliance (Sparks MSS., xlv. and lviii.). Washington meanwhile was considering an alternative of plans, and getting the opinions of his general officers;[947] but the movements of the British to evacuate Philadelphia soon changed all.[948]
PLAN OF MONMOUTH BATTLE.
From a plan in Hilliard d'Auberteuil's Essais, i. p. 270. Key: The English had passed the night at a. Lee's advance showed itself at 3, when the British debouched from their position at 1, while their guns at 2 fired on the Americans. The Americans at 3 retired into the wood, and joined Lee's main body, which debouched from the wood at 4, their guns taking position at 6 and 7, while the British guns were at 5. The Americans (4, 8, and 10) retired and took position at 11; and while still further retreating, the British attacked at 12, and the Americans made a stand at 13, and before all could retire still farther the British again attacked at 14. The Americans again formed at 15, when Washington, coming up by way of the new Baptist meeting-house with the main body, formed at 16, Stirling and Greene in front, and Lafayette in the rear, while Lee's men at 15 passed to Washington's rear, a British reconnoitring force appearing meanwhile at 17, and Plessis-Mauduit's battery, supported by 500 men, taking position at 18. The British at 14 and 17, being repulsed, united at 19, whence they were further repulsed and took position at 20. They formed again at 21 after Washington's attack. They passed the night at 22.
This map was apparently engraved from an original, followed in two plans, differently drawn, but in effect the same, which are among the maps in the Sparks collection at Cornell University, and which were copied from Lafayette's own plan at Lagrange. It is called Carte de l'affaire de Montmouth, où le général Washington commandait l'armée Américaine et le général Clinton commandait l'armée Anglaise, le 28 Juin, 1778. The "legende" shows references from 1 to 22, with extra ones a and b, the latter (b) being at the junction of the two dotted lines in the rear of 16, and is explained as the "movement of the second line, commanded by General Lafayette, which, as soon as the column at 17 was perceived, was detached to occupy the wood west of the meeting-house, which the column 17 was approaching; but when this column 17 was repulsed the line was restored."
There is also among the Sparks maps (Lafayette copies) a pen-and-ink sketch-plan,—differing somewhat, giving more detail,—made on the American side, and this more nearly resembles the plan given by Sparks in his Washington (v. p. 430,—repeated in Duer's Stirling, ii. 196; and in Guizot's Washington. Cf. Irving's Washington, quarto ed.). The plan in Lossing's Field-Book (ii. 356) is based on the one here engraved, and he also gives a view of the Freehold meeting-house (p. 359) and of the field (p. 362). Carrington (ch. 56) gives an eclectic plan with more detail than any other.
A view of the monument commemorating the battle is in the U. S. Art Directory (1884).
MONMOUTH AND VICINITY.
Sketched from a part of a MS. Hessian map in the library of Congress, called Plan générale des opérations de l'armée Britannique contre les Rebelles, etc. The lines (·—·—) represent roads. Key: "79, Marche du général de Knyphausen de son camp devant Englishtown le 24 Juin. 80, Marche du général Cornwallis. 83, Retraite des enemis."
There is a copy of the map of the region of the march by Clinton's engineer in the library of the N. Y. Hist. Soc. (Mag. of Amer. Hist., Sept., 1878, p. 759).
The battle of Monmouth, though in the end a victory for Washington, secured for the British what they fought for, a further unimpeded march toward New York. Washington's letters are of the first importance.[949] We have also accounts by Hamilton;[950] by Lafayette,[951] as given[446] to Sparks; and statements by several other witnesses.[952]
The trial of Lee, and the papers produced by it, furnish abundant contemporary evidence. The trial was published at Philadelphia, 1778, as Proceedings of Court-Martial held at Brunswick in New Jersey, July 4, 1778.[953]
On the British side, Clinton's despatch is in Lee Papers, (1872), p. 461; Dawson, i. 415. A British journal kept during the march is in the N. J. Hist. Soc. Proc., i. 15; an orderly-book picked up on the field is in a transcript in the Penna. Hist. Society.[954]
The British retreat is commended in Baron von Ochs's Betrachtungen über die neuere Kriegskunst (Cassel, 1817). Cf. Lowell's Hessians, p. 209.
Respecting the Conway Cabal, the best gathering of the documentary evidence is in an appendix to Sparks's Washington.[955] Sparks's conclusion is that the plot never developed into "a clear and fixed purpose", and that no one section of the country more than another specially promoted it. Mahon (vi. 243) thinks that Sparks glides over too gently the participation of the New Englanders, who have been defended from the charge of participation by Austin in his Life of Elbridge Gerry (ch. 16). Gordon implicates Samuel Adams, and J. C. Hamilton is severe on the Adamses (Repub. U. S., i. ch. 13, 14). Mrs. Warren found no cause to connect Sam. Adams with the plot, and Wells (Sam. Adams, ii. ch. 46) naturally dismisses the charge. It is not to be denied that among the New England members of Congress there were strong partisans of Gates, and the action of Congress for good in military matters was impaired by an unsettled estimate of the wisdom of keeping Washington at the head of the army, though it did not always manifest itself in assertion (Greene's Greene, i. 287, 403, 411). Nothing could be worse than John Adams's proposition to have Congress annually elect the generals (Works, i. 263); and he was not chary of his disgust with what was called Washington's Fabian policy. Sullivan, in one of his oily, fussy letters to Washington (Corresp. of the Rev., ii. 366) finds expression of a purpose to revive the plot in William Tudor's massacre oration in Boston in March, 1779. The expressions of Charles Lee, that "a certain great man is most damnably deficient" (Moore's Treason[447] of Lee, p. 68), like utterances of others, are rather indicative of ordinary revulsions of feeling under misfortunes than of a purpose of combination among the disaffected. Gates's refusal to reinforce Washington, and Hamilton's vain efforts to persuade him, naturally fall among the indicative signs;[956] and this apathy of Gates very likely conduced immediately to the loss of Fort Mifflin at the time it was abandoned (Wallace's Bradford, App. 12). The attempt to gain over Lafayette by the attractions of a command in invading Canada, can be followed in Sparks's Washington.[957]
A CRITICAL STUDY OF THE AUTHORITIES BY THE EDITOR.
Just when and by what act Arnold was put in treasonable correspondence with the British is not clearly established. Bancroft[958] says it was towards the end of February, 1779,[959] but he gives no authority.
ARNOLD.
After the medallion, engraved by Adam, of a picture by Du Simitière, painted in Philadelphia from life. The original is in Marbois' Complot d'Arnold et de Sir Henry Clinton (Paris, 1816), where it is inscribed "Le Général Arnold, déserté de l'armée des Etats Unis, le 25 Septbre, 1780." The copy of Marbois in the Brinley sale (no. 3,961) had also the sepia drawing from which the engraver worked. The Du Simitière head had already appeared in the European Magazine (1783), vol. iii. 83, and in his Thirteen Heads, etc.
A familiar profile likeness, looking to the right, was engraved by H. B. Hall for the illustrated edition of Irving's Washington, and is also to be found in H. W. Smith's Andreana. Another profile, similar, but facing to the left, is in Arnold's Arnold, and was etched by H. B. Hall in 1879. Cf. Harris and Allyn's Battle of Groton Heights.
Lossing has given us views of Arnold's birthplace in Norwich (Harper's Mag., xxiii. 722; Field-Book, ii. 36), and of his house in New Haven (Harper, xvii. 13; Field-Book, i. 421), and of his Willow (Harper, xxiv. 735).
BENEDICT ARNOLD.
From the Geschichte der Kriege in und ausser Europa, Eilfter Theil, Nürnberg, 1778.
Clinton, in Oct., 1780,[960] says it was eighteen months before, which would place it about April, 1779, and this is the period adopted by Sparks[961] and Sargent.[962] The latter writer[449] thinks Arnold made the advances; the former believes them to have come from the British.[963] It has also been believed that the mutual recognition was effected in some way through a Lieutenant Hele, a British spy, who was in Philadelphia after Arnold took command. There might arise a suspicion that the understanding was induced through the Tory family of Miss Peggy Shippen, whom Arnold had married in April, 1779. There are stories of her maintaining correspondence with her British friends in New York, but we do not know of any letters remaining as proof of it, except one from André to that lady after her marriage to Arnold, and after the British correspondence with him under feigned names had begun, in which letter the gambolling Major André commiserated his fair friend of the previous winter on the difficulty she might experience in buying gewgaws in Philadelphia, and offering to find them for her in New York. Whether this language, like the commercial phrases in which Arnold was at this time conducting his correspondence under the name of "Gustavus" with one "John Anderson", a British merchant in that city, was likewise a blind is not probably to be discovered, and it might or might not involve a doubt as to the privity of Peggy Arnold in the rather lagging negotiations;[964] but the probability is that André wrote the letter in his own name in order that Arnold might, by the similarity of the handwriting, identify his pseudo Anderson; for by this time the nature of information which inured to the advantage of the British, and which Gustavus communicated to Anderson from time to time, had pretty well convinced Clinton that the person with whom he was dealing was high in rank, and probably near headquarters in Philadelphia.
ARNOLD.
From Murray's Impartial Hist. of the present War, ii. p. 48.
Arnold had warm admirers; and those who trusted him for certain brilliant merits in the field included, among others, Washington himself; but Congress did not confide in him with so unquestioning a spirit. That body had raised over him in rank several of his juniors, much to Arnold's chagrin[965] and Washington's annoyance; and it was only after a renewed exhibition of his intrepidity at Danbury that it had tardily raised him to a major-generalship. Though his commission of May, 1777, gave him equal rank, it made him still, by its later date, the junior of those who had been his inferiors.[966] The Burgoyne campaign had been fought by him under a consequent vexation of mind, and his spirits chafed, not unreasonably, at the slight. The wound he then received incapacitating him for the field, had induced Washington, as has been shown, to put him in command of Philadelphia after the British evacuated it. It was now observed that he more willingly consorted with the Tory friends of his wife than with the tried adherents of the cause. His arrogance and impetuosity of manner always made him enemies. The Council of Pennsylvania by a resolution (Hist. Mag., Dec., 1870), as we have seen, brought Congress to the point of ordering a court-martial to decide upon the charges preferred against the general, and to Arnold's revulsion of feelings at this time has been traced, by some, the beginning of his defection.[967] Certain it is that he was kept in suspense too long to render him better proof against insidious thought, for it was not till December, 1779, that the trial came on. Meanwhile his debts pressed, his scrutinizers were vigilant, and there seems some reason to believe that he sought to get relief by selling himself to the French minister,—a project which, if we may believe the account, was repelled by that ambassador. To add to his irritation, Congress did not find the accounts which he had rendered of his expenditures in the Canada expedition well vouched, and Arnold resented their inquiries as an imputation upon his honesty.[968]
ARNOLD'S COMMISSION AS MAJOR-GENERAL.
Reduced from the fac-simile given in Smith and Watson's Hist. and Lit. Curios., 1st series, plate xlii.
WEST POINT.
Sketched from a colored drawing in the Moses Greenleaf Papers (Mass. Hist. Soc.).
The trial at last resulted in his acquittal on two of the more serious charges; but being judged censurable on two others, he was sentenced to a public reprimand from the commander-in-chief.[969]
A profile cut by himself for Miss Rebecca Redman, in 1778, and given in Smith and Watson's Hist. and Lit. Curiosities, 1st series, pl. xxv.
The burden of a public reproof, no matter how delicately imposed, was not calculated to arrest the defection of man already too far committed to retreat. If we may believe Marbois, not the best of guides, there was found among Arnold's papers, after his flight, a letter, undated and unsigned, in which he was urged to emulate the example of Gen. Monk, and save his country by an opportune desertion of what was no longer a prospering cause.[970] It soon became evident to Arnold that of himself, destitute of representative value, he was not a commodity that Clinton was eager to buy. Accordingly the recusant soldier sought to offer a better bargain to the purchaser by the makeweight of something that Clinton particularly longed for, and this was the possession of the Hudson Valley through its chief military posts.[971] To get a hold upon this, the time was opportune, for there was a change to be made in its commander. Arnold, however, did not get the coveted prize without some intrigue, for Washington, when he found that the wounded soldier professed eagerness for hotter work, proposed his taking the command of one of the wings of the main army. Arnold met the compliment by referring to his wounds as precluding work in the saddle, and induced Schuyler and R. R. Livingston to importune Washington to assign him to West Point.[972] The device succeeded, and Arnold reached West Point, as its commander, in the first week of August, and established his headquarters in the confiscated house which had belonged to Beverley Robinson, and which was situated on the east bank of the river, a little below West Point.[973] Clinton could have no longer any doubt of the identity of his correspondent, now that "Gustavus" wrote from the Robinson house.
The conspirators' first effort was to establish communications through Robinson, on business ostensibly having relations to this confiscated property; but Washington, to whom, for appearances, Arnold showed Robinson's application for an interview, told him that the civil, and not the military, powers should meet such proposals. Arnold could find at this time little difficulty in transmitting his clandestine letters, for there was constant occasion for the passage of flags from his own headquarters. To cover his proceedings from the officers of the American outposts, he only had to pretend that the expected messages or messengers were from his own spies in New York.[974]
From the Political Magazine, March, 1781, ii. 171. There is a modern reproduction of this engraving in the Minutes of a Court of Inquiry, etc., Albany, 1865. and in H. W. Smith's Andreana, Phila., 1865, who gives a full-length, of the origin of which we are left uninformed.
Clinton was apparently not willing to commit himself to any bargain, unless Arnold would give a personal interview as an evidence of his sincerity; while Arnold, in according, on his part insisted that his interviewer should be the convenient Anderson. André, since he had become the adjutant-general of the British army, was now fully understood to represent that fictitious New York merchant. Arnold named Robinson's house for the meeting, and would make arrangements by which any flag should pass the outposts. This was objected to, and the neutral ground near Dobbs Ferry was settled upon. Here Arnold went in his barge; but the officers of the British[454] guard-boats were not in the secret, and the meeting failed by reason of their chasing Arnold's barge up the river. Another attempt was planned, but this failed in the beginning, apparently by André's going up to the "Vulture", sloop-of-war, which was lying in the river, instead of landing lower down, as was expected. André was provided with full instructions, which if obeyed would have saved him the ignominy of a felon's death. He was not to put off his uniform, was not to go within the American lines, and was not to receive any papers. His bargain with Arnold was to have no written expression, and it involved on Sir Henry's part the dispatch of an ample force in a flotilla from Sir George Rodney's fleet, then in New York, where the men were already embarked, ostensibly for the Chesapeake, and the attack was to be made on the 25th of September, when it was supposed that Washington would have left the Hudson to go to Connecticut for an interview with Rochambeau. There was further to be made by André a promise that Arnold should have a commission in the British army and a sum of money. The American general, on his part, was so to dispose the forces in the works about West Point that the attack would, beyond doubt, end in a surprise and a mastery that would give color to the necessity of a surrender, which he was promptly to make.
ANDRE.
This picture of André, by himself, was originally engraved in 1784 by J. K. Sherwin, and was reëngraved by Hopwood for J. H. Smith's Authentic Narrative, London, 1808, and from this second engraving the present cut is taken. It has of late years been engraved by H. B. Hall in Sparks's Washington, quarto ed., vol. iv.; H. W. Smith's Andreana; Sargent's André; Mag. of Amer. Hist., 1879, p. 745 (etched by H. B. Hall). What seems to be the same, but extended to include the thighs, is given in Lossing's Field-Book, ii. 197; Two Spies, 36. A picture by Reynolds (given in Harper's, lii. 822, and Cyclop. U. S. Hist., i. 46) is said to be preserved at Tunbridge Wells. A pen-and-ink sketch by himself, made during his confinement, is now preserved in the Trumbull gallery at New Haven. Sparks first engraved it, and it has since been reproduced by Lossing, in Harper's Mag., xxi. 4, in Smith's Andreana, and elsewhere.
It now became necessary that some device should be practised to let Arnold know that André had reached the "Vulture." There had just happened some firing upon a boat of the "Vulture", in going to meet what the British captain supposed or pretended to suppose a white flag displayed on the shore. This gave the opportunity of dispatching a flag to the commander in the Highlands, to remonstrate against such perfidy. The British captain accordingly sent such a message, and André wrote the letter in a hand which he knew Arnold would recognize, and moreover countersigned it with "John Anderson, Secretary."
Arnold at once bent to the occasion. He engaged one Joshua Hett Smith, who lived in the neighborhood, to go by night to the "Vulture" in a boat, and bring to the adjacent shore a gentleman whom he would find on board, from whom Arnold expected to get information. How far Smith was a dupe or a knave has never been satisfactorily determined. The business would seem to have had a plain significance to a quick-witted man; but a court was not able later to convict Smith of knowing precisely what it all meant. Smith had also with him two oarsmen, and it was not apparently believed that they were in a position to know enough to render their patriotism doubtful. It was then by night, in a boat steered by Smith, that André, dressed in his uniform, but with an overcoat wrapped about him, was rowed ashore. According to Smith, the darkness and the outer garment so concealed Andre's dress that his steersman never suspected him to be an officer. Arnold was found waiting in the bushes, a little remote from the landing. Here Smith left the two conspirators alone and returned to his boat; but when the signs of dawn began to appear he returned to warn them. Arnold, who had brought along with him an extra horse, mounted André on it, and the two started to go to Smith's house,[975] which was two or three miles away on the hill, and within the American lines.
HUDSON RIVER.
Reduced from a rough pen-and-ink sketch, three feet and eight inches long, preserved among the Sparks MS. maps in Cornell University library, and inscribed "To his Excellency George Clinton, Esqr, Governor of the State of New York, this map of Hudson's River through the Highlands is humbly dedicated by his Excellency's most humble servant Thomas Machin, iv. January, MDCCLXXVIII."
If André is to be believed, he was not told that he was to go within the American outposts, and indeed there is no conclusive evidence to show why they went to Smith's house at all. Perhaps Smith or the boatmen refused, in the growing light, to take the risk of the return to the vessel. The general opinion has been that the conspirators had not concluded their negotiations, and needed more time. That Arnold had had a predetermined purpose to go to the house, if necessary, seems to be made clear from the fact that he had induced Smith to move his family away from their home temporarily, and on some pretext which Smith did not object to. André says that he first discovered Arnold's plan to get him within the American lines when, as they rode on their way, Arnold gave the countersign at the outposts. This was the first departure from Clinton's instructions. After they had reached the house the day broadened, and, the sound of cannon being heard, André went to a window, whence he could see the "Vulture" in the distance,[976] and saw that the Americans had dragged some cannon to a neighboring point, whence their fire became so annoying that the vessel raised her anchor and fell down the river. André became anxious lest this incident should preclude his return by water. The day had not far advanced when the bargain was completed, and Arnold prepared to leave for West Point to perfect the dispositions expected of him. He left behind sundry papers, mostly in his own handwriting, which André was to take to Clinton. Why another injunction of his superior was evaded by André in accepting the papers is not clear. They conveyed no information about the condition of the post which Clinton did not already possess or André could repeat to him. Possibly it was thought that, being in Arnold's autograph, the documents might serve as a pledge for what André was verbally to report to him.
Arnold seems to have made no certain provision for his fellow-conspirator's return to the "Vulture", but he left passes, which could be used either on the water or land passage, as circumstance might determine. André spent an anxious day after Arnold left. He was finally cheered by observing that the "Vulture", as if mindful of him, had returned to her previous moorings; but his hopes were futile. As night came on Smith showed no signs of arranging for a water passage to the ship, and made excuses.
HUDSON RIVER.
After the original draft by Major Villefranche (1780) as reproduced in Boynton's West Point, p. 45. Sargent, in his André, gives a map "engraved from a number of original drawings by Villefranche and other engineers, and preserved by Major Sargent, of the American army, who was stationed at West Point as aide to General [Robert] Howe until that officer was relieved by Arnold."
The fact probably was, that, after the cannonading of the morning, Smith had no desire to risk himself on the river in a boat. It was accordingly agreed that André should undertake to return to New York by land, and that Smith should accompany him beyond the American outposts, under the protection of Arnold's pass and of his own acquaintance with the officers of the lower posts. It now became necessary for André to disregard another of Clinton's directions, and exchange his uniform for common clothes.[977] This done, he put the papers which Arnold had given him under his soles and within his stockings. Thus arrayed, about dusk the two started, accompanied by Smith's negro servant. They crossed King's Ferry, and proceeding on their way were stopped once, but suffered to advance on showing Arnold's pass. After spending the night at a house, they had gone on some distance the next morning when Smith parted with André, and, going to Robinson's house, reported to Arnold that André had been conducted beyond the lines. André went on in better spirits than before, feeling sure now that he could encounter nothing more serious than some wandering cowboys, as the British marauders who infested the Neutral Ground between the two armies were called, and with whom he could easily parley to their satisfaction. The natural foes of the "Cowboys" were the "Skinners", who harried the unfortunate adherents of the British along the same roads, and wrestled with the Cowboys as opportunity offered.[978] As it happened, a party of the American prowlers were out to intercept some British marauders, and three of the number were ensconced close by a stream not far from Tarrytown, on the upper side. They were by name John Paulding, David Williams, and Isaac Van Wart. Paulding was by force of character the leader, and was dressed in a refugee's suit, which not many days before had been put upon him in exchange for his own better garments, when he had come out from confinement within the British lines. This suit, as well as Paulding's profession that he was "of the lower party", given to André's inquiry when, as he came along, he was stopped by the men, led to André's revealing himself as a British officer. When the traveller found he had made a mistake, he showed Arnold's pass, and tried to enforce it by threats of the American commander's displeasure if the captors dared to disregard it. This failing, he tried bribes, and it was André's opinion that if he could have made the payment sure he might have got off, as money seemed to be their object. The men, on the other hand, said that they could have resisted any offer of money when, on searching their prisoner, they found the papers in his boots.[979] Paulding, who alone could read, saw the purport of the documents, and pronounced André a spy.
COLONEL BENJAMIN TALLMADGE.
After a sketch taken by Colonel Trumbull, at the close of the war, and engraved in the Memoir of Col. Benjamin Tallmadge, prepared by himself at the request of his children, New York, 1858. A portrait in his later years, painted by E. Ames and engraved by G. Parker, is in the National Portrait Gallery, Philadelphia, 1836, vol. iii.
André was remounted and led under their[458] combined guidance to the quarters[980] of Colonel Jameson, who commanded some dragoons at Northcastle. That officer recognized Arnold's handwriting in the papers found on the prisoner, but he seems to have been bewildered by the discovery, though it was afterwards urged that he thought the transaction was a plot of "John Anderson", whoever he might be, to implicate Arnold in some mischief. How far the prisoner himself may have prompted Jameson is not known, for it was clear enough to André that Arnold only could now extricate him from the gathering toils. Accordingly, events took a promising turn for him when Jameson dispatched the prisoner, under escort, to Arnold's headquarters, with a letter which informed his superior of what was apparent enough, that some dangerous papers had been found on Anderson, and that he had sent them to Washington. Major Benjamin Tallmadge, one of his officers, who was absent on a scout, returned before André had long been gone, and learning the particulars from Jameson saw at once the blunder, and persuaded Jameson to send a messenger to recall André and his escort. Jameson did so, but insisted that the letter to Arnold should go on, as it did.
The messenger with the papers sought to intercept Washington on the lower road from Hartford, which the commander-in-chief was supposed at that time to be traversing on his return from the interview with Rochambeau.
The next morning André was sent, for better security, in the charge of Tallmadge to Colonel Sheldon's quarters at New Salem. Here, getting permission to walk in the door-yard in the custody of an officer named King, André revealed his name and station, and being allowed pen and paper, he made the same avowal in a letter to Washington, which, when written, he handed to Tallmadge. Its contents confirmed that officer's suspicion that the prisoner was a military man, for he had shown a soldier's habit of turning on his heel as he paced his room.
Washington, returning by the upper road, had missed Jameson's messenger, who, retracing his steps, passed through New Salem, where he was entrusted also with the letter which André had just written, and then went on towards the Robinson house, where Washington was then supposed to be.
It was now the 25th, the very day when Rodney was to come up the river with his flotilla, and Arnold sat at breakfast at this same Robinson house,[981] not knowing what the day would develop. There were with him Mrs. Arnold, who had not long before (Sept. 15) come from Philadelphia, and two of Washington's aides, who had arrived a little in advance of their chief.
It was two days earlier than Washington had been expected back, and this was a serious perplexity in the mind of the conspirator. The suspense was soon ended, for Jameson's messenger to him shortly arrived, and the letter was put in Arnold's hands before the company. He read it, showed, as was remembered afterwards, a little agitation, but only a little, and in a few minutes left the table, saying that it was necessary for him to go to West Point. It seemed natural enough to his guests; but Mrs. Arnold observed his agitation more keenly, and followed him to their chamber, where all was revealed to her. She swooned; he kissed the infant lying there; descended the stairs;[982] stopped an instant to say to the breakfast party that Mrs. Arnold was not feeling well and would not come down again; mounted a horse which he had already ordered; hurried down the steep road to the river; entered his barge and seated himself in its prow; directed his men to row to mid-stream; and then priming his pistols, which he had taken from his holster, he ordered them to hurry down the river, as he had to go with a flag to the "Vulture", and must hasten back to meet Washington, who was shortly to reach his quarters. He tied a white handkerchief to a cane, and waved it as he passed Livingston's batteries at Verplanck's Point, and that officer recognizing the barge allowed it to pass on. In a few minutes more he was under the "Vulture's" guns, and then under her flag. His boatmen resisted his offers of recompense for desertion, and were not allowed to return to shore to spread the intelligence, which they now comprehended.[983]
WEST POINT.
Reproduced from the plan in Marbois' Complot d'Arnold et de Sir Henry Clinton, Paris, 1816. A plate in the Mag. of Amer. Hist., 1879, p. 756, showing the route of André, is a portion of a map among the Simeon de Witt's maps (i. no. 66) in the library of the New York Hist. Society, and was made by Robert Erskine, the topographical engineer of the army, 1778-1780, and was for the whole length of it, from Staten Island to Newburgh, engraved for the first time in Irving's Washington, quarto ed., ii. 276.
There are other maps of the scene of the conspiracy and its attendant events in Sparks's Washington, vii. 216; Guizot's Atlas to his Washington; Irving's Washington, quarto ed., vol. iv.; Carrington's Battles, 512; Lossing's Field-Book, ii. 148; and Boynton's West Point, 104.
Not long after Arnold left the Robinson house, Washington arrived, and, learning that Arnold had gone to West Point, he passed over unsuspicious to that post, where he was surprised not to find Arnold.[984] While Washington was gone, Jameson's messenger with the captured papers and André's letter arrived, and Hamilton, left behind by Washington, opened them as his confidential[460] aide.[985] As soon as Washington's boat approached on his return from West Point, Hamilton went towards the dock to meet his chief, whispered a word, and both later entered the house and were closeted. The plot was revealed. Hamilton was dispatched to Livingston to head off Arnold in his escape if possible, but on reaching that officer's post it was found that Arnold's boat had already passed. Before Hamilton was ready to set out on his return, a flag from the "Vulture" brought ashore a letter from Arnold, addressed to Washington, framed in lofty expressions of his own rectitude, and avowing the innocence of Smith, of his own wife, and his aides.[986] Before Hamilton's return, Washington had dined with his officers without revealing the secret, but he shortly took Knox and Lafayette into his confidence. There was naturally great uncertainty as respects the extent of the conspiracy, and of what preparations the enemy had made for an immediate onset. The anxiety of the moment was soon evinced by the great activity of aides and orderlies. Word was sent in every direction for arrangements to be made for any emergency.[987]
André was brought to West Point, and Smith was arrested and held for examination. Special precautions were taken to keep them apart and to prevent escape. André was then conveyed down the river, still under Tallmadge's care, to headquarters at Tappan, where he was closely guarded in an old stone house, still standing.[988]
A board of general officers was at once summoned to consider the case and recommend what action should be taken. The papers taken from André were laid before them.[989] André himself was brought into their presence, when he made a written statement, and answered questions. He acknowledged everything, but said nothing to implicate others. He affirmed that he did not consider himself under the protection of a flag when he landed from the "Vulture." The report of the board was that André was a spy, and merited the death of a spy. Washington ordered the execution, and sent a record of the proceedings to Congress and recommended its publication. Congress printed the record.[990]
Clinton was meanwhile informed of what had happened by the return of the "Vulture" to New York, and wrote to Washington that Arnold's[461] flag and pass should save André from the character of a spy. Beverley Robinson wrote to a similar purport, and so did Arnold; but the latter added a threat of retaliation in case André was executed, which was not calculated to further the purpose of André's friends, and it is rather surprising they allowed the letter to proceed. Washington replied in effect that a flag must be used in good faith to preserve its character, and that the concealment of dress and papers was the action of a spy.
Gen. Robertson was sent by Clinton to make further representations, and Washington put off the execution till Greene could confer with that general at an outpost. A repetition of the arguments on the British side made no change in the aspects of the case; and when Robertson quoted Arnold as saying André was under a flag, Greene told him they believed André rather than Arnold. Robertson wrote again to Washington, who had now definitely fixed mid-day of Oct. 2d for the execution. Washington thought it also best to leave unanswered a note of André requesting to be shot rather than hanged. Further letters, amplifying the British arguments, were prepared,[991] but before they could be sent to Washington word came that the execution had taken place.
During his confinement in Tappan, and after he became aware of his fate, André conducted himself with a cheerful dignity that much endeared him to the gentlemen who came in contact with him. His servant had brought from New York fresh linen and his uniform, which André put on with evident satisfaction. He practised his ready skill in pen-and-ink drawing, and made several sketches, which he gave to his attendants as souvenirs.[992] As his hour approached, he said graciously to his escort, "I am ready", and went to the place appointed, surrounded by guards and through a large concourse of people. Of the general officers of the army at the post only the commander-in-chief and staff were absent; and as the sad procession passed headquarters the blinds were drawn, and no one was seen. When the gibbet came in sight, André shrank a moment, but instantly recovered, for he had nourished hopes that his request as to the manner of his death would not be denied. He bandaged his eyes himself; lifted the cloth a moment to say that he wished all to bear witness to the firmness with which he met his death; and when the cart was withdrawn died instantly.[993] When his uniform was removed and placed in his servant's hands, the coffin which contained the body was buried near the spot.
His remains were disinterred in 1821 and taken to England,[994] where they were deposited in Westminster Abbey, beside the monument which had been erected there to his memory shortly after his death.[995] Many years after the removal, a rude boulder,[996] on which a simple record was chiselled, was placed on the spot of his burial; but this had disappeared when a few years since a plain monument, with an inscription by Dean Stanley of the Abbey, was made to perpetuate the record of his grave.[997]
Note.—A reduced sketch is placed opposite from a plan by Villefranche, made in 1780, and given in fac-simile in Boynton's West Point, p. 86. He also (p. 79) gives Villefranche's plan (1780) of Fort Arnold, built 1778 on the eastern limits of West Point. On Villefranche see Ibid., p. 160. Boynton also gives a long folding panoramic view of West Point in 1780 from the eastern bank of the river, which shows the batteries and camps on both banks. Cf. illustrated paper, by Lossing, in Scribner's Mag., v. 4.
Arnold received the price of his desertion,[998] was made a general in the British service, and turned his sword, both in Connecticut and Virginia, against his countrymen. Afterwards he went to England, was treated with an enforced respect in some places, and scorned in others.[999] He lived for a while in New Brunswick, but he never escaped the torments which the presence of honorable men inflicted upon him. His descendants live to-day in England and in Canada, and some of them have attained high rank in the British army; and no one of them, as far as known, has disgraced the good name of the old Rhode Island family, whence Benedict Arnold descended.[1000]
The report of the court respecting André, with its appendix (already referred to), and the trial of Smith were the first public sifting of the evidence about the conspiracy. Smith was acquitted by the military tribunal,[1001] and was then turned over to the civil authorities for a further trial; but, succeeding in escaping in women's clothes, he reached New York, and England, where several years later he published a narrative, which it is not easy to reconcile with all his evidence in his trial,—the supposition[1002] being that he was addressing injured Americans in the one case and disappointed Britons in the other.[1003] Marbois, the secretary of the French legation at Philadelphia at the time, wrote a Complot d'Arnold et Clinton, which was not published till 1816 at Paris. Sparks says, that what came under Marbois' personal observation is valuable; but otherwise the book, as most students think, should be used with caution.[1004]
The earliest comprehensive treatment of the subject—and it has hardly been surpassed since—was in Sparks's Life and Treason of Arnold (Boston), and he gives the principal documentary evidence in his Washington, vol. vii. App.[1005]
The next special examination of the conspiracy was made in Winthrop Sargent's[1006] Life and Career of Major John André (Boston, 1861),—an excellent book.[1007]
In 1864 the story necessarily made a part of Edward C. Boynton's History of West Point, who pointed out the military advantage of the Highlands of the Hudson.[1008] Not long after this, Henry B. Dawson, then editing the Yonkers Gazette, printed in its columns sixty-eight contemporary documents or narratives, and these, subsequently printed from the same type in book-form, constitute no. 1 of Dawson's Gazette Series, under the title of Papers concerning the capture and detention of Major John André (1866). It is the most complete gathering of authentic material which has been made.
The volume (x.) of Bancroft which contains his account of the conspiracy appeared in 1875, and was constructed "by following only contemporary documents, which are abundant and of the surest character, and which, taken collectively, solve every question.... The reminiscences of men who wrote in later days are so mixed up with errors of memory and fable that they offer no sure foothold."[1009]
The Life of Arnold, by Isaac N. Arnold, of Chicago, and the Two Spies of Benson J. Lossing, are the last considerable examinations of the subject.[1010]
The story of the culmination and collapse of the conspiracy is easily told with the abundant testimony of those who were observers and actors,—much of the record being made at the time, though some of it, put upon paper at varying intervals later, may need to be scrutinized closely, particularly as regards André's demeanor from the moment of his arrest to his execution.[1011]
For the English side we must mainly depend on the letters and statements of Clinton, which are elaborate, and may well be supplemented by contemporary and later English historians.[1012]
As respects the justice of André's execution, the military authorities were disagreed on the two sides at the time, and for a while the alleged offence of Washington was considered in England a conspicuous blot upon his character; but Lord Mahon has been the only prominent instance of continued belief in this view among English writers, who have generally conceded the right of the Americans to count André a spy, however they might wish that Washington had been more clement. The attractive manners and brilliant mental habit of André have blinded even American writers to the atrocious nature of his mission, and to the sinister purpose which a man of sensibility and elevated character should never have grasped, even amid the license which a state of war gives. The power to face death with a calm and graceful courage may indeed be mated with the moral lightness that belongs to an intellectual popinjay and a debased intriguer.[1013]
THE WAR IN THE SOUTHERN DEPARTMENT.
BY EDWARD CHANNING,
Instructor in History in Harvard College.
IN the autumn of 1778 the British commander-in-chief, Sir Henry Clinton, determined to attempt for the second time the subjugation of the Southern colonies, and Savannah was selected as the first point of attack. On November 27, 1778, Lieutenant-Colonel Archibald Campbell, with thirty-five hundred men of all arms, sailed from Sandy Hook, and anchored off Tybee Entrance December 23d. Meantime a deserter from an advance transport had given the Americans warning. Their commander was General Robert Howe, a good but unsuccessful officer, who had not been fortunate in securing the confidence of the authorities of Georgia. Ascertaining these facts, Campbell pressed on without awaiting the arrival of Brigadier-General Augustine Prevost with a reinforcement from Florida. On the 28th, late in the afternoon, the British fleet assembled in the Savannah River, off Giradeau's house on Brewton Hill, which is about two miles from Savannah in a straight line, though double that distance by road. A causeway, nearly half a mile in length, ran from the river to the bluff through a rice-field which in ordinary times could have been flooded, but over which the bluff was now accessible from all points.
On the morning of the 29th the Highlanders carried the position with trifling loss, when Campbell, advancing toward Savannah, found the Americans most advantageously posted across the highroad. Through no fault of Howe, his rear was attained, while he awaited an attack in front. The Americans suffered a severe loss, and only a small part of them succeeded in joining Lincoln beyond the Savannah River. Campbell pushed up the Savannah, and in ten days the frontier of Georgia was secured, and this was the condition when Prevost arrived and took command.
Although Lincoln had arrived at Charleston on December 6th, he was not able to reach Purisburgh before the 5th of January, 1779. His army, composed almost entirely of militia, refused under him, as it had under Howe, to be governed by the Continental rules of war.[1014]
At first it seemed to the enemy that the occupation of Georgia could be easily maintained, but the neighboring militia rallied under Pickens, and drove the British back. The American success, however, was brief, for Colonel Prevost, a brother of the general, turned upon General Ashe, who with a detachment from Lincoln's army was following the British retreat. The Americans were surprised and suffered a defeat, which cost Lincoln one third of his army and restored to Prevost his superiority in Georgia.[1015]
The scale again turned. Lincoln, reinforced, once more severed the British communications with the up-country Tories, when Prevost, to disconcert his adversary, at first sought to get between him and Charleston, and then suddenly advanced on the city itself. Here Moultrie, who had been watching the British advance, threw up some defences. Negotiations for a surrender followed, and Governor Rutledge, who was in the town, even proposed a scheme of neutrality for the State during the war, to which Prevost would not listen. The British now intercepted a messenger from Lincoln, and finding that general closing in upon him, Prevost suddenly decamped and marched toward Savannah.
The summer was uneventful; but in the early autumn D'Estaing, who after leaving Newport had been cruising with some success in the West Indies, now turned northerly, and on September 3 (1779) his advance ships arrived off the mouth of the Savannah River. A landing, however, was not effected until the 12th, when the troops landed at Beaulieu, on Ossabaw Sound, fourteen to sixteen miles from Savannah. They did not reach that town until the 16th, so that Prevost had time to call in his scattered detachments, and all but those from Beaufort had arrived when, on the evening of that day, D'Estaing, in the name of the king of France, summoned him to surrender. A correspondence followed, which was prolonged till the defences were strengthened and Maitland got up from Beaufort with eight hundred men, when Prevost refused to surrender.
D'Estaing had been all the more willing to grant the truce as Lincoln, who was looked for from Charleston, had not arrived on the 16th. By the 23d a considerable part of the Americans had joined the French, and siege operations were begun. Guns were brought up from the French ships and trenches pushed to within three hundred yards of the besieged lines. On September 24th a sortie was made by the garrison for the purpose of developing the strength of the besiegers. The sortie was repulsed with ease, but the French, following the assailants back to their lines, were exposed to a murderous fire, and incurred a heavy loss in killed and wounded. The bombardment was then begun with vigor, but with little effect. At last, on October 8th, D'Estaing declared that he could not keep his vessels longer exposed to the Atlantic gales. An assault was determined on. In the night the sergeant-major of one of the Charleston militia regiments deserted to the enemy and gave full information of the intended movement,[471] and further declared that the attack on the British left would be only a feint, the real attack being directed against the Spring Hill redoubt, on the right.[1016]
The assault took place, and failed as much by a lack of coöperation between the columns as by the treachery. This disaster so dispirited the allies that Lincoln crossed the river on the 19th, and when he was safe on the other side the French withdrew to their ships and sailed away,—their last frigate leaving the river on the 2d of November.
VIEW OF CHARLESTOWN, S. C.
Sketched from a marginal view on a chart of The Harbour of Charlestown, from the surveys of Sir Jas. Wallace, Captain in his Majesty's navy and others, published in London by Des Barres, Nov. 1, 1777, and making part of the Atlantic Neptune. Cf. Mag. of Amer. Hist. (1883), p. 830. The Catal. of the king's maps (Brit. Mus.) shows an engraved view of 1739, and other early views are noted in Vol. V., p. 331. There is a view by Leitch, in 1776. In a paper, "Up the Ashley and Cooper", by C. F. Woolson, in Harper's Magazine, lii. p. 1, there is a view of Drayton house, occupied by Cornwallis as headquarters.—Ed.
GENERAL MOULTRIE'S ORDER, March 25, 1780.
From the Commodore Tucker Papers in Harvard College library.—Ed.
The sailing of the French left the coast again exposed, and Clinton, coming from New York, now prepared to attack Charleston. On the 11th of February, 1780, a landing was made on Simmons' Island, just to the north of the North Edisto River. Thence by John's Island, Stono Ferry, Wappoo Cut and River, the Ashley was reached, and a lodgment was[472] effected on the neck of land at the seaward end of which Charleston stands. Clinton advanced with caution. On the 1st of April the first parallel was opened about eight hundred yards from the American works.
From the Tucker Papers in Harvard College library.
On the 21st of March the British fleet, commanded by Admiral Mariot Arbuthnot in person, had crossed the bar unopposed. Some time was spent in taking on board their provisions and guns. Then on the afternoon of the 7th, 8th, or 9th of April—for there is a hopeless confusion as to the exact date—in the midst of a furious thunder-shower the fleet ran by Fort Moultrie without material damage, except to the store-ship "Eolus", which was abandoned. The greater portion of the garrison of Moultrie, commanded by Colonel C. C. Pinckney, was then withdrawn,—the feeble remnant surrendering on the 6th of May, with scarcely a show of resistance.
On the 8th of April guns were mounted in battery in the first British parallel. On the 11th, Lincoln having refused to surrender, fire was opened. The second parallel was completed on the 19th, bringing the British to within four hundred and fifty yards of the opposing line.
After a picture by Col. Sargent, owned by the Mass. Hist. Society (Proc., Jan., 1807, vol. i. p. 192; Catal. Cabinet, no. 13). A copy by Herring was engraved by T. Illman. Cf. Jones's Georgia, vol. ii. (bust only); Irving's Washington, quarto ed., vol. iii.; Harper's Mag., lxiii. 341. A rude contemporary copperplate print, by Norman, appeared in the Boston ed. of An Impartial Hist. of the War (1784), vol. iii. 64.—Ed.
On the morning of the 13th Tarleton and Ferguson, by a sudden push, dispersed the force at Monk's Corner, which had guarded Lincoln's supplies. On the 18th a reinforcement of three thousand men arrived from New York, and enabled Clinton to complete the investment of the town, the command on the eastern side of the Cooper being given to Cornwallis. There was during the next few days a sortie, some desultory[474] fighting, and an unsuccessful correspondence for a surrender. On May 8th the third parallel was completed, bringing the besiegers to within forty yards of the works, while the canal in front of the lines was partly drained and the batteries were ready to open fire. Clinton again summoned the garrison, but again Lincoln declined to surrender,—this time because Clinton refused to regard the citizens as anything but prisoners on parole. On the 11th the British reached the ditch and advanced to within twenty-five yards of the works. Resistance was no longer to be thought of, especially as the citizens themselves now petitioned to have the terms offered by Clinton accepted. The articles were accordingly drawn up and signed on the 12th, and the English took possession.
CORNWALLIS.
From Andrews' Hist. of the War, London, 1785, vol. ii. There is an engraving after an original drawing by T. Prattent in the European Mag., Aug., 1786. There are engravings of him later in life in Lee's Memoir of the War in the Southern Department (Philadelphia, 1872), vol. ii., and in the Cornwallis Correspondence. Cf. Harper's Mag., lxiii. p. 325; Irving's Washington, ii. 282; Boyle's Official Baronage, i. 459. Reynolds painted him in 1780, having already painted him in 1761. The former picture was engraved by Chas. Knight in 1780. Cf. Hamilton's Engraved Works of Reynolds, pp. 19, 169. There is a mezzotint by D. Gardiner. Cf. John C. Smith's Brit. Mez. Port., ii. 745; and in Ibid., iv. 1,444, an engraving by Ward after a picture by Buckley is noted. There is a contemporary account of Cornwallis in the Polit. Mag., ii. 450.—Ed.
On that day the Continentals to the number of perhaps fifteen hundred—there were about five hundred in the hospital at the time—marched out, with colors cased and drums beating the "Turk's March", and laid down their arms. By regarding every adult capable of bearing arms as a militiaman, Clinton reckoned his prisoners at five thousand. Lincoln has been severely censured for this defence, but if the Carolinians had rallied as expected, he might have held out until the heats of the summer and the arrival of De Ternay would have compelled Clinton's retirement.
Clinton now sent out three expeditions to the up-country, the most[475] important of which was destined to secure the region north of the Santee and Wateree.[1017] Cornwallis, commanding this expedition, detached Tarleton against Buford, who had with him the remnants of the American cavalry and some Continentals from Virginia. Tarleton overtook him at Waxhaw Creek on the 29th of May. Of the five hundred Americans who entered the fight, one hundred and thirteen were killed, while one hundred and fifty were wounded. The slaughter was vindictive, and "Tarleton's Quarters" will never be forgotten in the upper regions of South Carolina.
Clinton and Arbuthnot, judging their conquest of the province permanent, now proclaimed as rebels all who refused the oath of allegiance, and then sailed for New York, leaving Cornwallis in command.
CORNWALLIS.
From the London Mag., June, 1781 (p. 251).—Ed.
The new commander's proclamations, following upon those of Clinton and Arbuthnot, were enough at variance with them to create discontent among those inclined toward the British side. The spirits of the patriots began to revive, especially in the back regions, where Colonels Locke and Williams and Generals Rutherford and Sumter gathered strong bands around their standards. The fights at Ramsour Mills, Rocky Mount, Hanging Rock, and Musgrove Mills, which these partisans conducted, were in the main successful, but all were lost to sight in the great disaster which soon overtook the American arms near Camden.
Early in the spring of 1780, it had been decided to send a reinforcement under De Kalb to Lincoln, at Charleston. With about fourteen hundred men of the Maryland and Delaware lines, that general left Morristown on the 16th of April, 1780, and on the 1st of June, in Petersburg, he learned of the fall of Charleston. He decided to push on with the utmost speed, in the hope that his coming might still save the interior of the State. But delay after delay occurred, and De Kalb did not reach the Deep River[476] before the 6th of July, when he found nothing prepared for his reception; and what was still more inexcusable, the North Carolina militia, under Caswell, were holding aloof. On the 25th a new commander of the Southern armies arrived in Horatio Gates, the popular hero of Saratoga. His appointment had been made by Congress against the wishes of Washington, but in obedience to a general popular consent. De Kalb received Gates with genuine pleasure, and took his place at the head of the regulars, then forming the whole army.
Against the advice of his ablest officer, Otho H. Williams, Gates determined to join the North Carolinians in their camp near Lynch's Creek, since they would not join him, and with them he hoped to seize Camden. Two days after his arrival, on July 27th, the march began, and after the most acute suffering from hunger the regulars joined the militia. So lax was the discipline among Caswell's men, that Williams and a party of officers rode through their lines and camp without being once challenged. Approaching the general's tent, they were informed that it was an unseasonable hour for gentlemen to call. Yet Caswell was within striking distance of a disciplined army, commanded by an enterprising general, Lord Rawdon. Marching a little farther, the British were found in a strong position on the southern bank of Little Lynch's Creek.
HORATIO GATES.
From Du Simitière's Thirteen Portraits (London, 1783).—Ed.
By a march up the creek, Gates might have placed his superior force on Rawdon's flank and rear. This was what Rawdon feared, and what De Kalb is said to have advised. Instead he passed two days in idleness, and then, inclining to the right, marched to Clermont or Rugeley's Mill, on the road from Charlotte to Camden, and not more than thirteen miles from the latter. There, seven hundred militia from Virginia joined him. From that place, too, he sent four hundred men, including some regulars, to assist Sumter in a contemplated attack on the enemy's communications. It was now determined to seek a more defensible position on the banks of a creek seven miles nearer Camden. This position could be turned only by marching a considerable distance either up or down the creek. Exactly what Gates had in view by this movement can not now be ascertained.[1018]
Cornwallis arrived at the front on the morning of August 14th, and decided to surprise Gates; but the two armies started on respective marches at precisely the same hour, ten o'clock of the evening of August 15, 1780. Their advanced guards met at about half past two the next morning. Armand, a French adventurer, with his "legion" forming the American van, retired panic-stricken, and the two armies deployed across the road. The position in which the opposing generals now found themselves was singularly favorable to the smaller numbers of the British, as the front was necessarily very short, owing to a marsh which protected while limiting either flank. This advantage Cornwallis was not slow to perceive. A hurried council was held on the American side, and it was decided that there was no alternative but to fight. At dawn the enemy was observed getting into position on the extreme left. Stevens, with the Virginia militia, already in line, was ordered to charge before the enemy's formation was complete. It so happened that Cornwallis, thinking the Virginians were making some change in their dispositions, ordered his right forward. Led by the gallant Webster, the British came on with such a rush that the men of Virginia threw down their loaded guns with bayonets set, broke and dispersed to the rear. Nor did the North Carolinians do better. Seeing the Virginians break, they did not await the onset, but threw away their arms and fled. One regiment indeed, inspired by the example of the regulars, fired several rounds before it broke. Deserted by those whom they had marched so many weary miles to succor, the men of Maryland and Delaware fought till to fight longer was criminal. Then the under-officers, on their own responsibility, brought off all they could, for their commander, De Kalb, overwhelmed by eleven wounds, had fallen into the hands of the enemy,—"a fate", says Williams, "which probably was avoided by other generals only by an opportune retreat." That night Gates found himself at Charlotte, sixty miles from the scene of conflict. Caswell was with him, and they were soon joined by Smallwood and Gist. In fact, excepting the one order issued to the Virginians at the outset, the leaders seem to have left the conduct of the fight to De Kalb and the subordinate officers. From Charlotte Gates retired to Hillsborough, where the legislature was then sitting.
Cornwallis seems to have been satisfied with the havoc wrought on the field of battle, for he pursued without vigor, and soon returned to Camden and gave his attention to Sumter. That enterprising but negligent chieftain had captured the redoubt at the ferry over the Wateree, and had ensnared a convoy destined for Cornwallis. On the night of the 17th, hearing of Gates's overthrow, Sumter left his camp, and moved with such[478] celerity that a corps which Cornwallis sent against him failed to strike him. Shortly after, Tarleton found him less vigilant, and came upon him so unexpectedly that resistance was hardly attempted, and Sumter escaped with scarcely half his force.
Gates has been severely blamed for this defeat; too severely, it seems to me. The march of the regulars from Buffalo Ford to Lynch's Creek was undoubtedly full of hardship, but it was well planned and executed. Nor do the troops who made it seem to have been demoralized by it. On the contrary, seldom have men fought more gallantly than De Kalb's division fought on the morning of August 16, 1780. The Virginians, whose flight made defeat probable, followed the Continentals in the march across the "desert", and did not suffer nearly as much as the leading division. The North Carolina militia, whose panic turned a probable defeat into a rout, had no part whatever in that painful march. The disaster was due to the over-confidence which Gates felt in his men. Had the militia stood firm, the event of the campaign might have been different. There was no defect in Gates as a strategist or tactician. He had a larger number of men in line than his opponent. His dispositions were as perfect as the time and place permitted. The defeat Was "brought on", to use the emphatic words of Stevens, the gallant leader of the Virginians, "by the damned cowardly behavior of the militia."
From Camden Cornwallis advanced to Charlotte, overcoming all obstacles which the militia under Davie interposed. Other militia, meanwhile, under Clarke, advanced on Augusta, but British reinforcements from Ninety-Six, under Cruger, forced Clarke to abandon the attack, and, burdened with the families of some leading Whigs, he retired towards the mountains. Cornwallis, hearing of this, ordered Ferguson, who had been beating up recruits in the upper country, to endeavor to cut Clarke off. Now it happened that at this very time the sturdy frontiersmen, under the leadership of Colonel William Campbell, Colonel Isaac Shelby, Lieutenant-Colonel John Sevier, and Colonel Charles McDowell, had assembled at Watauga, bent on the destruction of Ferguson and his little army.[1019] To the number of one thousand and forty they left their place of meeting on September 26th and marched for Gilberton, where Ferguson was supposed to be. On the 30th they were joined by Colonel Cleveland, with three hundred and fifty men from North Carolina. The senior officer was McDowell, but from his slowness he was not deemed the best man to conduct such an arduous enterprise, and while he was sent to Gates to name a leader they chose Campbell for their chief. Pressing on, they reached the Cowpens, where they were joined by Williams and Lacy, with about four hundred men from the Carolinas.
Meantime Ferguson, not ignorant of the approach of this formidable force, which appeared to have sprung from the earth, had begun his retreat towards Charlotte. Anxious to intercept Clarke, he had delayed his march longer than was prudent, and had taken post on the top of a spur of King's Mountain, where he probably hoped to be reinforced before the enemy should come up with him. While at the Cowpens, on October 6th, the Americans received certain information of Ferguson's position. They resolved to select the best mounted of their little army, and, leaving the poorly mounted and the footmen to follow, to go in pursuit of Ferguson and fight him wherever found. In the evening, therefore, they broke up from the Cowpens, and, marching all night, reached, without being discovered, the foot of King's Mountain on the afternoon of the next day. The spot on which the British were found was singularly well suited to the mode of fighting in which the backwoodsmen were adepts. King's Mountain proper is sixteen miles long, and in some places is high and steep. The southern end, however, where Ferguson was encamped, rises only about sixty feet. It was wooded, except on the summit, which partook of the nature of a plateau. The Americans, under their respective leaders, so timed their movements that Ferguson was surrounded almost before he knew it. The band led by Campbell seems to have made the first attack from the south. It was speedily driven back at the point of the bayonet, but re-formed at the foot of the hill and returned to the charge. Meantime Shelby was pressing on from the north. He, too, was driven back, when, re-forming his men, he also returned to the fight. These charges and countercharges were three times repeated. Cleveland, Sevier, and the rest did their work splendidly in their respective positions. The British, inspired by the example of their heroic leader, fought bravely and well; but their position was so perilous that their loss was double that of the assailants. Ferguson, while leading a charge, or perhaps while endeavoring to cut his way out, was killed. De Peyster, the second in command, showed the white flag, as was his duty, resistance being useless, but the firing did not cease for some time, even though the beaten Tories were suing for quarter. At that moment an attack was made from the rear by another band of British, who were probably returning from a foraging expedition. This new and sudden attack led to a renewal of the slaughter of the unresisting foe on the hill.
The neighborhood was bare of provisions, and the next morning the now half famished victors, with their no less hungry prisoners, made a hurried retreat towards the mountains. On the 13th the Americans arrived at a place then called Bickerstaff's Old Fields, about nine miles from the present hamlet of Rutherfordton. There they improvised a court, and sentenced thirty to forty of their prisoners to death. But after nine had been hanged, the remainder were reprieved or pardoned.
Such was the famous battle of King's Mountain in South Carolina. It changed to a great extent the whole course of the war in the Southern department,[480] as it deprived Cornwallis of the only corps that he could afford to hazard for a long time out of supporting distance. As for Cornwallis, as soon as he heard of the disaster, instead of sending Tarleton in pursuit, he broke up from Charlotte, and retired as fast as he could to Wynnesborough, in South Carolina, midway between Camden and Ninety-Six, where he would be within supporting distance of either in case they were attacked. He was followed by Gates, who encamped at Charlotte, his light parties advancing even to Rugeley's.
Not long after his arrival at Wynnesborough, Cornwallis detached Tarleton, with a portion of the Legion, to disperse the band with which Marion awed the country between the Santee and Pedee rivers. Tarleton had now to deal with a soldier both bold and discreet. All his artifices were unavailing to entrap Marion, and he was recalled to go in pursuit of Sumter, who had encamped at Fishdam Ford, not far from the British headquarters. Meanwhile, Major Wemyss had attacked Sumter just before daybreak on the morning of November 11th. He approached the camp unchallenged at first, but he soon encountered a picket, which fired five shots before retiring. Two shots disabled Wemyss. His second in command, continuing the attack without a proper knowledge of the ground, was repulsed. Sumter, hearing of the approach of Tarleton, prudently withdrew from such a dangerous neighborhood, and had reached the ford of the Tyger, near Blackstocks, when Tarleton appeared. Unable to cross, he drew up his men on the side of a hill. Tarleton, rashly attacking with his advance, was beaten off with great loss. The British leader withdrew to his main body, and prepared to storm the hill the following morning; but in the night Sumter crossed the river, and once over his men dispersed in every direction. The American loss at these two actions was small, though a wound received at the Blackstocks kept Sumter from the field for several months.
From this time on the war in the Southern department assumed a new and brighter aspect, for on December 2, 1780, less than a month after the affair at the Blackstocks, Nathanael Greene arrived at Charlotte, and took command of the remnants of the gallant Continentals who had fought so splendidly at Camden. He was respectfully received by Gates, who retired to his Virginia farm.[1020]
The task that Greene had before him might well have appalled the boldest. Without food, without money or credit, almost without an army, he was expected to face the most enterprising commanders—Cornwallis, Rawdon, and Tarleton—that the British had on this continent, while they were at the head of a large and well-appointed army. But Greene was not the man to be easily disheartened. With the possible exception of Washington,[481] the best soldier of high rank in the American army, he resembled his chief in being a careful observer of men. His judgment, too, with regard to all matters connected with war was excellent, and has seldom been surpassed. As a strategist he had no equal in the opposing army, while he possessed the rare power of being able to adapt his tactics to the army and to the country, although it has been claimed that credit has been given him for what really was the product of another mind.
Gates handed over to his successor an army which numbered on paper twenty-three hundred and seven men, including nine hundred and forty-nine Continentals. But so many were insufficiently clad and equipped that, to use the new commander's own words, "not more than eight hundred were present and fit for duty." Food was scarce, and the morale of the army was low. Greene sought a new camp on the eastern bank of the Pedee, opposite Cheraw Hill, where food was more abundant. There he subjected his men to a discipline to which they had long been strangers, while Morgan, with a strong detachment, threatened Cornwallis's other flank.
Morgan took with him four hundred of the Maryland line, under Lieutenant-Colonel J. E. Howard, two companies of Virginia militia, and about one hundred dragoons led by William Washington. To these were afterwards added more than five hundred militia from the Carolinas. Morgan advanced to Grindall's Ford on the Pacolet, near its confluence with Broad River. In this position he seriously menaced Ninety-Six and even Augusta itself. Cornwallis needed to dislodge him before he could advance far in his projected invasion of North Carolina. He therefore detached Tarleton, with his Legion and a strong infantry support, against Morgan, while he himself advanced with the main body along the upper road to North Carolina, thus placing himself on Morgan's line of retreat whenever that commander should be driven back. Learning of these movements, Morgan retired from Grindall's Ford, and moving with commendable speed on the night of January 16, 1781, encamped at the Cowpens. Tarleton was now close upon him, and, marching the greater part of the night, he discovered the Americans drawn up in line of battle on the morning of the 17th. The position which Morgan had chosen was in many respects a weak one. The country was well fitted for the use of cavalry, in which the British excelled, while the Broad River, flowing parallel to his rear, made retreat difficult if not impossible. Nor were the flanks protected in any manner.[1021][482] Hardly waiting for his line to be formed, and with his reserve too far in the rear, Tarleton dashed forward.[1022] A militia skirmish line was easily brushed aside, and the main body of militia, after firing a few rounds with terrible precision, also retreated. The Continentals, however, under their gallant leader, stood firm. But Howard's flank soon became enveloped. He ordered his flank company to change its front. Mistaking the order, the company fell back, and the whole line was ordered to retire upon the cavalry. The British, who had been joined by the reserve, thinking that the Americans were retreating, came on like a mob. Seeing this, Howard ordered the 1st Maryland to face about. They obeyed, and poured such an unexpected and murderous fire into the advancing foe that the British line paused, became panic-stricken, turned, and fled. In vain did Tarleton call upon his dragoons for a charge. His order was either not delivered or was misunderstood. Colonel Washington, on the other hand, advanced with a rush, and the day was won. Almost to a man the British infantry was either killed or captured. But they had fought well, and their loss, especially in officers, bears testimony to their splendid conduct on the field.[1023]
King's Mountain lost to Cornwallis his best corps of scouts. This disaster deprived him of his light infantry, whose presence during the forced marches now to come would have been of incalculable service. For this reason the affair at the Cowpens, while in reality only a fight between two small bodies of troops, in importance of results deserves to be ranked among the most important conflicts of the war. It was indeed, as has so often been said, "the Bennington of the South."
Cornwallis, when he had detached Tarleton to the defence of Ninety-Six, and later, when he had ordered him to push Morgan to the utmost, had expected to be able to get on Morgan's line of retreat, and thus drive him into the mountains, or at least prevent his rejoining Greene. But with Greene on his flank at the Cheraws, he had been afraid to move far from Camden before Leslie with the reinforcements could get out of Greene's reach. He was, therefore, no further advanced than Turkey Creek, twenty-five miles away, when the news of the disaster at the Cowpens reached him. On the 18th, Leslie, with two battalions of the Guards under O'Hara and the Hessian regiment of Bose, arrived. On the 19th the pursuit was begun, and on the 24th Cornwallis reached the crossing of the Little Catawba at[483] Ramsour's Mill, only to learn that Morgan had crossed at the same place two days before. In fact, that enterprising leader, instead of being dazzled by the victory at the Cowpens, passed the Broad River on the evening of the day of action, and, pursuing his route toward the mountains, passed Ramsour's Mill on the 21st. With the bulk of his detachment he then sought a junction with the main body under Greene. Turning to the east, he crossed the Catawba at Sherrald's Ford on the 23d, and took post on the eastern bank. At this place he finally rid himself of his prisoners, sending them to Virginia under an escort of militia.
There can be little doubt of the chagrin Cornwallis experienced at the escape of Morgan. It prompted him to destroy what he thought was useless baggage, and to make another attempt to overtake the Americans. This burning of his train occupied two days, and, necessary as it may have seemed, the consequent lack of supplies led to the fearful suffering of his army after Guilford, and made his retreat to Wilmington a necessity. It was his first grave error in his struggle with Greene. On the 27th he put his troops in motion for the Catawba, but before he reached the fords a sudden rise of the river made the crossing an impossibility, and gave Morgan two days' respite. The delay was still more important in giving Greene time to reach the post of danger and take command of the detachment. The news of the victory at Cowpens had not reached the camp at the Cheraws until the 25th. Instantly divining the course that Cornwallis would pursue, Greene sent an express to Lee, who, as soon as he had joined, had been dispatched to coöperate with Marion in an attack on Georgetown, next to Charleston then the most important seaport in South Carolina. The attack failed for some reason that is not quite apparent; but Lee brought off his troops in safety, and rejoined Greene in time to render most important service. On the 29th, the main army, under command of General Huger, left the camp for Salisbury, where Greene hoped to be able to concentrate his entire force. On the 31st the Catawba began to subside. Putting their troops in motion, Greene and Morgan directed their steps toward Salisbury, where they arrived on February 2d. The Yadkin was crossed in safety the next day, though rising rapidly all the time; then sending orders to Huger to join him at Guilford Court-House, and not at Salisbury as formerly ordered, Greene once more breathed freely.
On the afternoon of the 1st, Cornwallis had also put his troops in motion. His design was to make a feint of crossing at Beattie's Ford while with the Guards he should pass the river at the less known Cowan's Ford. By some means, Davidson, who commanded the militia in that region, became cognizant of the design, and stationed himself at Cowan's with about four hundred men, where he expected to hold Cornwallis in check long enough to be of real service to the retiring Americans.
Shortly before daybreak Cornwallis reached the river, and saw the watch-fires on the opposite bank. Without a moment's hesitation the Guards rushed into the rapid stream. When about halfway across they were discovered,[484] and a fire was opened upon them by the militia. But now occurred one of those accidents that so often in war defeat the best-laid plans. The ford, turning in mid-stream at an angle with the direct line, ran under a bank where the militia were waiting for the British; but when they arrived at the turning-point, instead of inclining to the right, the Guards—their guide having deserted through fear—kept straight on, and gained the bank with a loss of only sixty in killed, wounded, and missing. The militia retired, and although Tarleton was sent after them, they made good their retreat with a loss which would have been trifling but for a mortal wound under which the gallant Davidson fell. There were many hair-breadth escapes during this splendid charge. Cornwallis's horse was shot under him, but reached the bank before he fell. Leslie was carried down stream, and O'Hara's horse rolled over with his rider while in the water.
Pushing on with all speed possible in the wretched condition of the roads, Cornwallis's van, under O'Hara, reached the Yadkin at the Trading Ford a few hours after the Americans had crossed; but O'Hara, though he missed the soldiers, captured a train of wagons belonging to the country people who were flying with the army. Here again the forces of nature came to the assistance of the Americans, for the Yadkin rose so rapidly that it could not be forded, and Greene had carefully secured all the boats on the eastern bank.
Cornwallis now gave up all idea of preventing the union of the two wings of the opposing army, which, indeed, was effected soon after at Martinsville, near Guilford. The British commander decided to place himself between his opponents and the fords of the Dan, hoping thereby to prevent the Americans taking refuge in Virginia. Accordingly, on the 7th he crossed the Yadkin at the Shallow Ford. It was now a serious question with Greene to escape the new danger. The militia failing to come to his aid, he was obliged to protect his Continentals by a flight into Virginia. He determined to cross the Dan at Irwin's Ferry, and sent orders to have boats ready at that point. On the 10th the march was renewed. The light troops, united in one division, were placed under the command of O. H. Williams, with orders to delay the enemy as much as possible. By rapid marching the main army reached Irwin's Ferry and crossed on the 13th and 14th, before Williams and the rear-guard came in sight. The experience of this light division has been well told by Lee, whose Legion first measured sabres with Tarleton's men on the 12th. From that time the rear of the Americans and the advance of O'Hara were almost constantly in sight of each other. At every crossing or other suitable place Williams would draw his men out and thus compel the British to deploy; then, his object being accomplished, and the British delayed for a few minutes, the march would be resumed, and the two armies would soon be marching as one again. Cornwallis, conscious finally that his prey had escaped, turned back to Hillsborough, and, erecting the Royal Standard, called upon all loyal North Carolinians to rally to the aid of their royal master.
On the 18th, only four days after his escape, recruits had come in so rapidly that Greene detached Lee across the Dan to seek information, and to show the Tories that the Americans were by no means beaten. Lee had, in addition to his legion, two companies of the Maryland line. He was joined on the southern side of the river by Pickens with a considerable body of Carolina militia.
On the 23d Greene himself crossed the Dan with the main army, and sought the difficult country on the head-waters of the Haw, as the Cape Fear River is called in its upper course. Here again, as during the retreat, the light troops were put into the hands of Williams. The two divisions manœuvred with such precision that Cornwallis was held at arm's length, while militia and Continentals came into the American camp from all directions. The American commander saw that the time had now come to give way no more. He stationed himself on a hillside near Guilford, and awaited the approach of the British. The position which had attracted his attention during the retreat possessed a combination of rising ground, cleared spaces, and woods which could hardly be surpassed for the irregular formation that Greene, following the example set by Morgan at the Cowpens, deemed best suited to his troops.
To Cornwallis, the presence of Greene had been most disastrous. Strategy had failed to annihilate his opponent, and the offered battle, even on ground of the American general's own selection, was welcome to the British commander; and on the morning of the 15th of March, 1781, the trial came.
In his front line Greene put the North Carolina militia, their flanks resting in the woods, the centre being protected in some measure by a rail fence. Three hundred yards behind were posted the Virginia militia under Stevens and Lawson. Though militia in name, some of those under Stevens were veterans in reality. But, taught by his bitter experience at Camden, Stevens posted riflemen behind his line, with orders to shoot any who should run. The Virginians were entirely in the woods. Three to four hundred yards behind them, on the brow of a declivity, with open fields in their front, were the regulars. On the right was the Virginia brigade under Huger. Then, after an interval for the artillery under Singleton, came the Maryland brigade, commanded by Williams. The first regiment was led by Gunby, with Howard as lieutenant-colonel. This was the regiment which had aroused universal admiration by its splendid conduct at Camden and its wonderful subordination at the Cowpens, when a gallant charge converted a bloody check into a crushing disaster. The second Maryland regiment, commanded by Ford, was new to the service. It held the extreme left of the line. The regulars presented a convex front. Lee with the "Legion" and Campbell's riflemen from the backwoods acted as a corps of observation on the left, while Washington, with the regular cavalry and the remnant of the Delaware regiment under the heroic Kirkwood and Lynch's riflemen, protected the right flank.
As soon as Cornwallis found himself in the presence of his enemy, he deployed without reserves, except the British dragoons under Tarleton. The "Hessian" regiment of Bose and the 71st under Leslie, with the 1st battalion of the Guards in support, held the right; next came the 23d and 33d regiments under Webster, with the Grenadiers and the 2d battalion of the Guards under O'Hara in support; while the extreme left was occupied by the light infantry of the Guards and the Jägers. The artillery was on the road with Tarleton. As the line moved forward it first encountered the North Carolinians, who fired a volley, and perhaps more, before they broke. On the extreme right, however, Lee with his light troops held the regiment of Bose and the 1st battalion of the Guards in check. But the defection of the North Carolinians separated him from the rest of the army. The first line being broken, Webster rushed upon the Virginians. But the woods were so thick, and the defence of the Virginians so stout, that his loss at this point was very considerable. At length, Stevens having been wounded in the thigh, the Virginians retired and Webster advanced upon the Continentals. On his right was Leslie with the 71st. When the advancing line reached the front of the 1st Maryland, it was received with such a murderous fire that it stopped. The Marylanders then advanced with the bayonet, and the British gave way and retreated. It has been said by writers on both sides, that had Greene thrown forward another regiment at this moment the day would have been won. But this is by no means certain, as the events of the next few minutes were to show. For Leslie with the 71st and O'Hara with the Guards now came up and assailed the 2d Maryland with such fierceness that it broke and fled. But the 1st Maryland was not far off. Wheeling into line, it opposed the Guards until Washington charged and broke the British line. J. E. Howard—now in command, Gunby having been dismounted—then followed with the bayonet, and pressed the enemy so hard that re-formation was for the moment impossible. Cornwallis, seeing that the flight must be stopped at all hazards, ordered his artillery—posted on an eminence in the centre of the field—to open on the Marylanders through the ranks of his own men. In this way the pursuit was checked, though at terrible loss to the British.
Greene's hopes were soon dashed. The shattered lines of the enemy re-formed and returned to the conflict. Pressing heavily on the Virginia regulars, and reinforced by the 1st battalion of the Guards, which had disengaged itself from Lee, the whole American line was endangered. Greene, who wished to run no chances, and who probably did not know that Lee had once more connected himself with the main line, ordered a retreat. The artillery, the horses having been killed, was left on the ground, but otherwise the withdrawal was easily and skilfully effected.
Such was the battle of Guilford. Numerically, Greene was superior; but of good troops he had only a handful. When the two leaders summed up their losses, it became evident that a decisive blow had been struck at[487] Cornwallis. The Americans lost seventy-nine killed and one hundred and eighty-four wounded, together with one thousand and forty-six missing. Of these last some may have been wounded, but by far the greater part were militiamen, who had returned to their homes. Cornwallis reported his own loss at ninety-three killed, and four hundred and thirteen wounded, and twenty-six missing—a most serious diminution of his force.
Cornwallis in his proclamation and letters maintained, however, that he had achieved a great triumph. It was his despatch to Germain which occasioned the well-known assertion of Charles James Fox that "another such victory would destroy the British army." Even before the fight it had been almost a necessity to open communications with the sea, as the army was suffering for want of the stores that had been destroyed at Ramsour's Mill. Believing the Cape Fear River navigable as far as Cross Creek, Cornwallis had sent Major Craig to seize Wilmington and to open navigation as far as possible, which he succeeded in doing to a point at a short distance above Wilmington. Leaving his wounded at the New Garden Quaker Meeting-house, near the battlefield, Cornwallis set out on the morning of the 18th for Wilmington, arriving there on April 7, 1781. Greene had pursued as soon as possible. But his ammunition, never very abundant, was now almost exhausted. Besides, food was very scarce in the district to be traversed, and Greene arrived at Ramsey's Mill only to find that Cornwallis had built a bridge over Deep River at that point and escaped, although Lee had pressed so hard on his rear that the bridge could not be destroyed. Here the pursuit ended; for the Virginia militia, now that their time was up, refused to serve longer. Though Cornwallis escaped, and though Greene had lost one of the best contested battles of the war, he had won the campaign. He was free once more to turn his attention toward relieving South Carolina of her military rulers. On April 6th, one day before Cornwallis arrived at Wilmington, the southward march began, Lee being detached to operate on the line of Rawdon's communications with Charleston.
Lee soon joined Marion, who was skulking in swamps between the Pedee and Santee, and, uniting forces, the two captured a fortified depot of Watson, the British officer scouring this region, and then endeavored to prevent his rejoining Rawdon.
On the 7th of April Greene had broken up from Ramsey's, and, taking the direct road, had encamped on Hobkirk's Hill, to the north of Camden, and about a mile and a half from the British works at that place. As Rawdon did not come out from his intrenchments, Greene on the 23d moved nearer. Anxious for Marion and Lee, and desirous of supporting some artillery which he detached to them, Greene moved to a position south of Camden. It appears, however, that on the 23d or 24th he decided to fall back. Accordingly, on the afternoon of the 24th he reëncamped on Hobkirk's Hill. During that night a renegade drummer-boy informed Rawdon of the position and number of the American force. He also said that[488] Greene had neither artillery nor trains near at hand, although both were on the march to join him. It was a most propitious time to strike, and Rawdon determined to attempt a surprise the next morning.
Making a considerable detour to the right, he struck the American left almost unperceived. Greene had thrown out a strong picket in that direction, but the superiority of the British was so great that they drove in the guards and were upon the Americans before the formation was complete. That the attack was not a disaster was due to the prudence of Greene, who had encamped in order of battle. Perceiving that Rawdon's line was very short, Greene ordered Ford with the 2d Maryland to flank it on the right, and Campbell was told to do the same on the left. Gunby with the 1st Maryland, and Hawes with the Virginia regulars, were ordered to attack with the bayonet in front, while Washington with the cavalry was to get into the rear and take advantage of any opening that might offer. Unfortunately, neither Ford nor Campbell were able to put in their men before Rawdon, seeing his danger, brought up his reserves and extended his flank. This was owing partly to Ford being struck down in the beginning of the movement.
The defeat of Greene, however, was due to one of those accidents against which no foresight can provide. It seems that as the 1st Maryland was getting into position to charge, or perhaps as it was moving forward, Beattie, the captain of one of the leading companies, was shot. His men began firing, and fell into confusion. Then Gunby, instead of pushing his rear companies forward, as Greene always declared he should have done, ordered the regiment to form on the rear companies. The men retiring were seized with a panic, and the heroes of three battles broke. They were rallied soon after, but it was then too late. The whole line was compromised, and Greene ordered a retreat.
Though Greene was not surprised, the attack was most unexpected. This was owing in a great measure to the woods in his front, which permitted Rawdon to reach the picket line without discovery. Even then Greene fully expected victory, and had his men done their duty, as he had a perfect right to expect, this adventurous attempt of the young British commander would have resulted in his complete overthrow. Such was Greene's opinion, and such is the opinion of most American writers.[1024] Retiring first to Sanders Creek or Gum Swamp, the very spot Gates was trying to reach when he met Cornwallis, and later to Rugeley's Mill, Greene brought up his provisions and recruited the strength of his men. Though not beaten at Hobkirk's Hill, Greene was greatly discouraged. Especially distressing was the non-arrival of expected reinforcements. The terms of[489] service of his best men were expiring, and he could see no source from which to draw recruits. His losses in the recent engagement had not been so great as those of his opponent; but Marion and Lee had been unable to prevent Watson from rejoining his chief. Still Greene did not lose heart. As soon as his men had recovered from fatigue he crossed the Wateree and posted himself at Twenty-five-Mile Creek, on the road from Camden to Fishing Creek and the Catawba settlements.
Watson reached Camden on May 7th. On the evening of the same day Rawdon moved out from his fortifications, and, crossing the Wateree, turned on Greene, intending to pass his flank and attack him from the rear. But Greene was too vigilant, for, learning of Rawdon's departure from Camden, he retired still higher up the river, first to Sandy's Creek and later to Colonel's Creek, the latter being nine miles from his former position. The position on the further bank of Colonel's Creek was very favorable to the party attacked. The light troops had been left in the front, as at Hobkirk's Hill. Coming upon them at Sandy's Creek, Rawdon mistook them for the main body, and their position seemed so strong that he did not feel willing to risk an attack. It was impossible for him to remain longer in Camden with Greene in such threatening attitude, especially as his line of communication with Charleston was in the hands of Lee and Marion. On the 10th, leaving his wounded who were unable to be moved at Camden, Rawdon evacuated that place, and marching to the east of the Santee, he crossed at Nelson's Ferry and took post at Monk's Corner, not more than thirty miles from Charleston.
RAWDON.
From Doyle's Official Baronage, ii. 151. The likeness by Reynolds was painted in 1789, and is at Windsor Castle, and is engraved in the European Mag., June, 1791; it was also engraved in mezzotint by John Jones. Cf. Hamilton's Engraved Works of Reynolds, pp. 56, 183, and J. C. Smith's Brit. Mezzotint Portraits, ii. 767. Cf. Irving's Washington, 4o ed., iv. 331.—Ed.] There is an account of Rawdon's career to date in Pol. Mag., ii. 339, and Lossing has given a sketch of his life in Harper's Monthly, xlvii. 15. He is better known by his later title of Marquis of Hastings, which he bore as governor-general of India. Cf. note to p. 49 of Cornwallis Corresp. It is to be noted that both he and his chief, Cornwallis, showed a humanity in after life which did not grace their careers in America.
One of the motives which had induced Rawdon to make this precipitate retreat was the hope of saving the garrison of Fort Motte, an important post on the Congaree, near its confluence with the Wateree. Lee and Marion had appeared before the place on the 8th. They had pushed the siege with vigor, but were so destitute of artillery and siege tools that it seemed the siege might be prolonged until the coming of Rawdon should enforce its abandonment. Happily it occurred to some one that the roof of Mrs. Motte's house, which stood in the middle of the inclosure, could be set on fire. It is related that Mrs. Motte herself furnished the bow and arrows with which this was accomplished. At any[490] rate, soon after Rawdon's watch-fires were seen in the distance the house was on fire, the stockade untenable, and the garrison prisoners of war. Marion then separated from Lee, and, turning toward Charleston, compelled the enemy to look well to his communications.
When Rawdon evacuated Camden he sent orders to the commander at Fort Granby to retire to Charleston, and directed Cruger, at Ninety-Six, to join Brown at Augusta. Neither of these orders reached its destination. As soon as the post at Motte's had surrendered, Lee was ordered to Fort Granby. Proceeding with his usual celerity, he arrived before the place in the night of the 14th. His single piece of artillery opened on the fort as soon as the morning fog had dispersed. The garrison was completely taken by surprise. Time being of the utmost importance to Lee, the besieged were promised their baggage—in reality the property of plundered patriots—if they would immediately surrender. The terms were accepted, and Lee joined Pickens at Augusta.[1025]
Lee reached this place on the evening of the 21st of May. On his way he had captured a small stockade, containing, under a strong guard, valuable stores for the Indians. Augusta is, or rather was, situated on the southern bank of the Savannah River. Its defences consisted of a strong work, Fort Cornwallis, in the centre of the town. It was garrisoned by a force of regulars under Lieutenant-Colonel Brown, who had already once successfully defended the place. Not far from Fort Cornwallis was a smaller work, named after its defender Fort Grierson. While Lee watched the garrison of the larger fort, Pickens and Clarke advanced to the attack of Fort Grierson. Its defenders soon were compelled to leave their stronghold for the main fort. Their attempt to reach it was a vain one, as most of the garrison were captured or killed.[1026]
The attack on Fort Cornwallis was now pressed with vigor. As at Fort Watson, use was here made of an expedient, already tried in the campaign, of advancing a log pen or Mahem tower, on the top of which was mounted the besiegers' only piece of artillery, whence it was used with great effect. The defence was most gallant, the garrison often sallying, and even attempting to blow up a house in which a covering party of riflemen were to have been placed; but the explosion was premature. Everything being ready for an assault, the garrison capitulated after one of the most splendid defences of the war. Lee then went to the assistance of Greene, who was now conducting the siege of Ninety-Six.
The village of Ninety-Six was then situated near the Saluda River, about twenty-five miles from Augusta. For many years a post had been established there as a protection against the Indians. When the British overran the State, it was selected as a proper position for one of the exterior line of posts of which Camden was the most important, though the possession of Augusta gave to the British the command of upper Georgia. When Camden was evacuated, Ninety-Six became useless and should have been abandoned; but the messengers bearing Rawdon's orders to that effect were stopped by the Americans. When, therefore, Greene arrived before the place, on the 22d of May, he found it defended by Lieutenant-Colonel Cruger, with about 500 men, mainly New York loyalists. A stockade protected the rivulet which supplied the garrison with water, and their main fort, the "Star", had sixteen salient and reëntering angles. Greene was not strong enough completely to invest this fort, and he contented himself with an attempt to carry it by regular approaches.
This was Greene's first siege, and, unfortunately, he had no engineer of the requisite ability. Acting on the advice of Kosciusko, ground was broken at a distance of seventy paces from the "Star." The besieged soon sallied, destroyed the uncompleted works, and retired with trifling loss, taking with them the intrenching tools. The British were surprised at the temerity of the Americans in opening their trenches so near. The sally taught Greene a lesson, for he next opened a trench at a distance of four hundred paces, under the protection of a ravine. The work was now pushed with vigor, and, notwithstanding numerous sallies on the part of the garrison, by the morning of June 18th the third parallel was completed. The assailants were now within six feet of the ditch, while riflemen in a Mahem tower kept the besieged from their guns during the day.
Note on Portrait of Kosciuszko.—After an engraving by Anton Oleszeynski. Cf. Dr. Theodor Flathe's Geschichte der neuesten Zeit (Berlin, 1887), i. p. 205. Cf. A. W. W. Evans's Memoir of Kosciusko, privately printed for the Cincinnati Society, 1883. There was a model made in wax from life by C. Andras, from which an engraving was made by W. Sharp (W. S. Baker's William Sharp, Engraver, Philad., 1875, p. 66).
There are some notes on Kosciusko by Gen. Armstrong in the Sparks MSS. Cf. Greene's Hist. View, 297, and B. P. Poore's Index, for his claims on the United States (p. 131).—Ed.
Lee with the "Legion" had arrived from Augusta on the 3d, and had conducted operations against the stockade covering the watering-place with such vigor that it had been evacuated on the 17th. Four days more would have placed the garrison in the power of the besiegers. But it was not so to be. Rawdon, in Charleston, had received considerable reinforcements direct from Ireland, and early in June he pushed forward through the heat, and eluded Sumter.[1027] With Rawdon within a day's march, Greene must either take the fort by storm or abandon the siege. He decided on an assault,—probably more to satisfy the desires of his men than because he thought it was the best thing to be done. On the 18th, at noon, the attack was made in two columns, Greene not being willing to hazard his whole force in a general storm. On the extreme right, Lee, with "Legion" infantry and[493] the remains of the gallant Delaware regiment, directed his efforts against the stockaded fort, which had already been abandoned, according to the British account of the siege. At all events, Lee had no trouble in carrying out his part of the work. But on the other flank the assault was not so successful. Lieutenant-Colonel Campbell, with his Virginia regiment and with the 1st Maryland, formed the storming column. They advanced with great gallantry, but, though they gained the ditch, they could not effect a lodgment on the parapet. They were driven back with considerable loss by two parties of the besieged, which attacked them in the ditch on both flanks in such a way that the artillery and riflemen in the tower could not fire without injuring friend and foe alike. Greene called off his men, and Rawdon being within a few miles, he retired on the next morning to a safe place of retreat. In the end he retreated as far as Timm's Ordinary, between the Broad and Catawba rivers. Rawdon, his men worn down with their long march, could not overtake him, and finally halting on the banks of the Enroree, he turned back to Ninety-Six. That place being untenable with the means at his disposal, he divided his men into two parties. With one he regained the low country, resigning the command to Stuart on account of ill-health.[1028] Gathering the Tories of the neighborhood, Cruger escorted them to Charleston, while Greene led his army to the High Hills of the Santee, where he passed the heats of the summer.
At length, toward the end of August, Greene learned that Stuart was proposing to establish a fortified post at a strong and healthful position called Eutaw Springs. Greene determined to prevent this, and descending from his camp he made a wide detour to get across the river which separated the two armies; for although he was distant from Stuart only sixteen miles as a bird flies, the most practicable route was nearly seventy miles long. He crossed the Wateree at Camden, and, marching parallel to the river, crossed its affluent, the Congaree, at Howell's Ferry on the 28th and 29th. Proceeding by slow and easy marches, he reached Burden's plantation on the 7th of September. At that place Marion joined him, and preparations were made for an advance on the enemy the next day. Stuart at Eutaw seems to have been singularly negligent. He sent out but one patrol, which was captured by Lee. He would have been surprised had not two men deserted from the North Carolina regiment and given him warning. As it was, he had barely time to call in his foraging parties before Greene was upon him.
Stuart had with him about 2,300 men of all arms, Greene rather less. The British commander ranged his men in one line, the right being protected by Eutaw Creek, while the left was in the air, as the military term is. Greene advanced in two lines, the militia, under Marion, Pickens, and Malmady, being in the front. The right of the second line was held by Sumner with the North Carolina regulars. In the centre were the Virginia Continentals under Campbell, while on the left J. E. Howard and Hardman[494] led the two Maryland regiments. To Lee, who had the advance during the march, was assigned the protection of the right flank, Henderson with a South Carolina brigade covering the left. The cavalry under Washington and the brave remnant of the Delaware regiment brought up the rear, and acted as a reserve.
Here at last there was no wavering among the militia, excepting those from North Carolina, who nevertheless fired several rounds before breaking. Under Marion and Pickens the rest fought splendidly. It is said that some of them fired no less than seventeen rounds before giving way; then Sumner advanced with the North Carolina regulars. At length they, too, were forced back; but the British following them with too great impetuosity, their own line became deranged. This was the opportunity for the men of Maryland and Virginia to retrieve the reputation lost at Guilford and Hobkirk's Hill, and splendidly they responded to the call. Rushing forward,—the Virginians alone disobeying orders so far as to fire,—the whole burst upon the enemy in front and swept him from the field. Unfortunately, their course led through the British camp, and they dispersed to plunder the abandoned tents. Now it happened that when the British fell back a party threw themselves into a strong brick house and an adjoining picketed garden; thence they delivered a withering fire upon the victors of a moment before. And more unfortunate still, when the "Legion" was ordered to charge the retiring foe, Lee could not be found, and the charge, being made without vigor, was a failure. On the right, too, the British had not retreated: they still occupied a flanking position, from which they could not be dislodged, even though Washington and all but two of his officers were killed or wounded in the attempt. All these things, coupled with the heat, compelled Greene to sound the retreat. Leaving such of the wounded as were within range of the brick house on the field, he retired to his camp at Burdell's, seven miles distant, that being the nearest point where a supply of good water could be obtained. Both commanders claimed the victory. It would be not unfair, perhaps, to call it a drawn battle. Neither party can be said to have retained possession of the field, as Stuart retreated with great precipitation from the vicinity on the night of the next day. Greene acknowledged a loss in Continentals alone of 408 in killed and wounded. The loss in militia has never been stated. It must have been considerable, as a portion of the militia fought with great obstinacy. According to the American accounts, the enemy lost in prisoners 500 men, including 70 wounded. But Stuart reported only 257 missing; his killed and wounded he gives at 433.
As soon as Greene ascertained the retreat of the enemy he followed with all speed; but Marion and Lee were too weak to prevent Stuart's receiving a reinforcement. Stuart finally halted at Monk's Corner, while Greene passed the Santee at Nelson's Ferry and retired to the High Hills.
Cornwallis at Wilmington had a difficult problem to solve. Should he[495] go south to the relief of Rawdon, or north to the conquest of Virginia? Another campaign in North Carolina was plainly out of the question. The distances were so great and the country was so sparsely settled that it was a matter of great difficulty to move any considerable force there, even when unopposed. The recent campaign had fully demonstrated that a bold and enterprising leader with a handful of trained troops could seriously impair the usefulness of a royal army, even though he could not destroy it. The best base of operations for another campaign in South Carolina was Charleston, and the best way to get there was by water; but any such movement looked too much like a retreat to be seriously considered. Besides, Cornwallis did not believe that he could get to Camden in time to relieve Rawdon, as the place was not provisioned for a siege. On the other hand, a movement into Virginia offered many advantages. There the army would always be within easy march of the sea, and reinforcements could be brought from New York or sent thither with great ease. Then, too, it seemed to Cornwallis—and his supposition was probably correct—that with Virginia, the great storehouse of the Southern armies, once in his hands, the complete conquest of the Carolinas would be easy and certain. So impressed was he with this idea that he endeavored to induce Clinton to shift the headquarters of the army from the Hudson to the Chesapeake; but Clinton had other views, and New York remained the base of operations. Clinton even went further, and avowed his dislike of the whole plan of operations; but Cornwallis had the approval of Germain, and the northern movement was undertaken.
Clinton, however, had always looked with favor on desultory expeditions to Virginia, as they drew the attention of that State to her own defence, and therefore away from the defence of the Carolinas. As early as the spring of 1779, he had sent Matthews and Collier to the Chesapeake, with instructions to do as much damage to the Americans as possible; but beyond plundering Portsmouth and burning Suffolk they accomplished little, and returned to New York. The next year Leslie was detached in the same direction to effect a diversion in favor of Cornwallis's invasion of North Carolina. King's Mountain not only put an end to that invasion, but compelled Cornwallis to call Leslie to his aid. Leaving Portsmouth, which he had fortified, Leslie sailed for Charleston, and reached the front in season to take part in the campaign against Greene. On Leslie's withdrawal Clinton sent another expedition to Virginia to destroy military stores which had been collected for the supply of Greene. The command this time was given to Arnold, though, to guard against a new treason, dormant commissions were given to his chief officers, Lieutenant-Colonels Dundas and Simcoe. Arnold penetrated to Richmond without encountering much opposition. He destroyed nearly everything of value at that place, and then endeavored to seize some arms which had at one time been deposited at Westham. Failing in this, he descended the river to Portsmouth. The militia had now collected in considerable numbers. For this[496] or for some other reason, Arnold kept within the fortifications of that place.
About this time Rochambeau had sent a few vessels to annoy the British in the Chesapeake; but, besides capturing the "Romulus",—a 44-gun ship,—they did little, and returned to Newport. Washington now proposed that the two armies should unite in an attempt to capture the traitor. To this end he detached Lafayette with the light infantry,—a picked corps of about twelve hundred men from the New England and New Jersey lines,—to act in unison with a force of the same size which Rochambeau detached from his army. Lafayette, for a time concealing his destination by a feigned attack on Staten Island, reached Annapolis in safety. Leaving his troops there, to be brought the rest of the way by the French fleet when it should arrive, Lafayette proceeded to Suffolk. He found Muhlenberg, with the militia, at that place, guarding the approaches to Portsmouth. But the French were not fortunate, since their departure from Newport was so long delayed that the fleet arrived off the Capes of the Chesapeake only to find Arbuthnot guarding the entrance. In the fight which followed, both sides claimed the victory. But all the advantages of victory were on the side of the British, as Destouches' ships were so badly cut up that he was obliged to return to Newport. Success now being improbable, Lafayette returned to his troops, and the march to the North was begun. At the Head of Elk new orders were found, directing him to return to the South and place himself under the orders of Greene. The cause of this radical change in plan was the reinforcement of two thousand men under Phillips which Clinton had sent to Virginia.
Phillips arrived on March 25, and took command. Towards the end of April, the British to the number of twenty-five hundred landed at City Point on the James River. Steuben, who was then at Petersburg, took up a strong position at Blandford, where the enemy found him on the morning of April 25. He was soon obliged to retreat. The enemy then marched to Petersburg, and destroyed a large amount of tobacco and other valuable property. The 27th saw them at Osborn's, where they captured, after some show of resistance, a fleet of merchant vessels.
When Phillips and Arnold arrived at Richmond they found that Lafayette was before them. The young Frenchman had reached Baltimore on the 17th of April. Purchasing on his own credit shoes and clothes suited to a Virginia summer, he made a forced march, and threw himself into Richmond twenty-four hours in advance of the British. Not wishing to attack him in such a strong position, Phillips retired down the river, followed by the Americans. On the 7th of the next month (May, 1781), the British commander received word from Cornwallis that he would join him at Petersburg. Suddenly ascending the river, he reoccupied that town on the night of the 9th. On the 13th Phillips died, and a week later Cornwallis arrived and assumed command, Arnold returning to New York.
Then followed a series of marches, the design of the British commander[497] being to cut Lafayette off from Wayne, who was marching to his support. But Lafayette moved with too great celerity. Early in June the desired junction of the Americans was made near Raccoon Ford, on the Rapidan. Meantime, while Lafayette was out of reach, Cornwallis sent out two expeditions. The first, under Simcoe, operated against Steuben, at that time guarding the stores at the Point of Fork. The Prussian veteran, mistaking Simcoe's detachment for the main army, abandoned the stores and retired with great precipitation. The second expedition, led by Tarleton, was designed for the capture of the civil rulers of Virginia, but a Virginia Paul Revere warned them of their danger in time, and they made good their escape,—though it is said that Jefferson, then resting from the fatigues of the session at Monticello, had but five minutes to spare. But the raid, successful, or not, had no importance, although popular writers are wont to dwell upon it.
STEUBEN.
From Du Simitière's Thirteen Portraits, London, 1783. Cf. Harper's Mag., lxiii p. 336, and the lives of Steuben.—Ed.
With Wayne and his Pennsylvanians, in addition to his own Light Infantry, Lafayette felt strong enough again to oppose the enemy in the field. By a well-executed movement through an unknown and long-disused road, the young marquis placed himself between Cornwallis and Albemarle Old Court House, whither the stores had been removed from Richmond. Cornwallis, instead of attacking him, retired down the James, Lafayette following at a distance of about twenty miles. On the 25th of June the British were at Williamsburg, the Americans being not far off, at Bottom's Bridge. While at Williamsburg, Cornwallis sent Simcoe to destroy some boats and stores which had been collected on the Chickahominy. Lafayette, on his part, detached Butler of the Pennsylvania line, with orders to attack Simcoe on his return. A partial engagement ensued at Spencer's Ordinary, which ended in Simcoe's being able to continue his retreat.
It can hardly be said that this retrograde movement on the part of the British was due to the presence of Lafayette, although his presence undoubtedly contributed toward making Cornwallis desirous of getting into communication with Clinton. It is probable, too, that Cornwallis hoped to be so strongly reinforced that the conquest of the State during the coming autumn would be assured. But Clinton, believing, from intercepted despatches,[498] and from the movements of the Americans, that Washington was meditating an attack on New York, instead of complying with Cornwallis's desires, ordered him to send a portion of his own troops to New York.
After a sketch supposed to be by Fersen, aide of Rochambeau, and following a reproduction given in Balch's Les Français en Amérique, p. 174. Cf. Irving's Washington, quarto ed., and E. M. Stone's Our French Allies, p. 281; Harper's Mag., lxiii. 329.—Ed.
The latter, therefore, retired to Portsmouth, where the embarkation could be easily effected. To Lafayette, the crossing of the James seemed to offer the chance of at least picking off a rear guard; but Cornwallis was attacked too soon, owing in part to the impetuosity of Wayne, and the onset came near being a disaster. In the end, however, Wayne succeeded in bringing off his men, though he lost two pieces of artillery. Cornwallis, fearing an ambuscade, did not push the pursuit. He then made his way to Portsmouth unmolested, while the Americans sought a healthy summer camp on Malvern Hill. Just at this moment, owing to the arrival of reinforcements in New York, Clinton decided to leave Cornwallis's force intact. Furthermore, he determined to establish a permanent base in the Chesapeake, and ordered Cornwallis to fortify a place, mentioning Old Point Comfort, where the navy could be sheltered. He also authorized him to take possession of some other post, as Yorktown, if he thought it necessary. Now Cornwallis seems to have regarded the fortifying of Yorktown as the only alternative, and the engineers and naval officers declaring Old Point Comfort unsuitable for a naval station, he seized York and Gloucester, and began the erection of the proper works. Clinton always asserted that he had no intention of ordering anything of the kind. But the weight of evidence seems to be in favor of Cornwallis. At all events, he took possession of Yorktown. As soon as his movements were discovered, Lafayette left his summer camp, and, taking a strong position in the fork of the Pamunkey and Mattapony rivers, sent out parties to watch the further movements of the enemy, Wayne being ordered toward the south, as if to the assistance of Greene. Such was the situation in Virginia when the French came to the aid of the Americans, and began the operations leading to the siege of Yorktown.
On the 1st and 2d of May, 1780, the Marquis of Rochambeau, with about five thousand men, left the roadstead of Brest. The transports were[499] convoyed by a small fleet of seven ships of the line, under the command of the Chevalier de Ternay. Their progress was slow, and it was not until July 12th that the fleet anchored in Newport harbor.[1029] Batteries were immediately erected on shore to protect the shipping from the English fleet, which was under Arbuthnot. This admiral, hastening from Charleston, in company with Clinton, now bent his whole energy toward the destruction of the French fleet. But the British commanders, always on bad terms, quarrelled, and Washington threatening New York, while the New England militia rallied to the defence of their newly arrived allies, the attempt on Newport was abandoned. A naval blockade was kept up, however, and the French army was neutralized by a few ships of war. Thus they passed the remainder of 1780 and the first part of 1781.
On the 8th of May (1781) M. de Barras, successor to De Ternay, who had died in the preceding year,[1030] arrived at Boston. He brought news of the departure from Brest of a powerful fleet commanded by M. de Grasse. This French admiral had with him a small convoy with six hundred recruits for Rochambeau; but the bulk of his fleet was destined primarily for the West Indies. De Grasse had been directed, however, to come on the American coast in July or August, relieve the fleet at Newport, and for a limited period act in conjunction with the American and French armies. On May 21st a conference between Washington and the French commanders was held at Weathersfield, in Connecticut. It was there determined to make a united attack upon New York, provided De Grasse could coöperate. This was Washington's plan, though an expedition against the British in Virginia seems even then to have been proposed. Later a note from De Grasse arrived, asking where he should strike the American coast. Rochambeau replied that it would be best for him to look into the Chesapeake, and then, should no employment be found there, to proceed to New York. Rochambeau also inclosed the articles of the Weathersfield conference, hinting at the same time that De Grasse must be his own judge as to the practicability of crossing the New York bar with his ships. Finally he asked him to borrow for three months the brigade under St. Simon, which was destined to act in conjunction with the Spaniards.
On the 18th the advance of the French left Providence for the Hudson. Washington at this time was encamped at Peekskill. Ten days later, on June 28th, he determined to seize by surprise, if possible, the forts on the northern end of New York Island. The night of July 2d was selected for the enterprise, and the command of the advance was given to Lincoln; Lauzun, with the French Legion, making a forced march to his aid. But the scheme failed. The enemy attacked Lincoln, and Lauzun reached the[500] scene of conflict too late to be of assistance. The troops were drawn off in safety, however, and retired to Dobbs Ferry, where they were joined by the French infantry on July 6th. While awaiting the arrival of the fleet, nothing was attempted beyond a reconnoissance in force of the northern defences of the island. It was this movement which induced Clinton to send for the Virginia troops.
On August 14th a letter from De Grasse arrived which put a new face on the whole war; for the French admiral announced that he should sail for the Chesapeake, with a view to carry out the scheme of Rochambeau for a united movement against Cornwallis. He added that his stay on the American coast would be short, and that he hoped the land forces would be ready to act with him.
FRENCH OFFICERS.
There was now nothing to be done but to abandon the cherished project against New York, and to move all of the allied armies that could be spared from the vicinity of New York to the Chesapeake. Leaving Heath with four thousand men to garrison the forts on the Hudson, and suitable parties to guard against an irruption from Canada, Washington set out with the rest of the land forces for Williamsburg, by the way of Philadelphia, Head of Elk, and the Chesapeake. On the 19th the army crossed the Hudson at King's Ferry, and moved as though to attack Staten Island. This feint was so well managed that Clinton was completely deceived. On September 2d the Americans marched through Philadelphia, the French following on the 3d, 4th, and 5th. By the 8th the allied army was again[501] united at the Head of Elk. The news of the arrival of De Grasse at the Capes of the Chesapeake had reached Washington on the 5th, and had been communicated to the troops on the following morning.[1031]
De Grasse, on his arrival at Lynnhaven Bay, just inside Cape Henry, had found an aide of Lafayette's, and soon the marquis arrived in person. As soon as possible the troops under St. Simon were landed at Jamestown Island, and Wayne was recalled from his southward march. These corps, with the light infantry and the Virginia militia, took up a strong position at Williamsburg, not more than twelve miles from Yorktown. Cornwallis reconnoitred the lines; but they were too strong to be attacked except at great risk. Confident in being relieved by Clinton and Graves, he retired to his fortifications.
Had Rodney done his full duty he would have followed De Grasse in his northward cruise. But pleading illness, he sent fourteen ships of the line, under Hood, to the assistance of Graves, and sailed himself for Europe.[1032] The event was most fortunate for the American cause, as the control of the sea for a brief period passed away from the British. It should be said that Rodney had written to Graves, warning him of his danger; but through a fortunate accident the letter never reached Graves, and the first he heard of the coming of De Grasse was on the arrival of Hood. That admiral on August 25th had looked into the Chesapeake on his way north; but the French had not yet arrived. Graves had already discovered that Barras had sailed from Newport with a siege train and tools, and the two admirals, conjecturing, therefore, that the destination of Barras was the Chesapeake, determined to seek him there and destroy him before the arrival of the main fleet. They reached Cape Henry on the 5th of September, and there they found, not Barras, as he had purposely taken a long, roundabout route to avoid them, but De Grasse. The English fleet numbered nineteen sail of the line, the French twenty-four, but fifteen hundred men were absent, engaged in landing the troops of St. Simon. Nevertheless, De Grasse slipped his cables and stood out to sea. The ensuing action was indecisive, but De Grasse accomplished his purpose, as the British were obliged to seek New York to refit. On his arrival back at Lynnhaven Bay he found Barras. There was now abundant transportation, and by the 26th of September the allied troops—Washington's, Rochambeau's, Lafayette's, and St. Simon's—were concentrated at Williamsburg.
Two days later, on the 28th, the allied army marched to Yorktown, and[502] found Cornwallis occupying an intrenched camp outside the immediate defences of the town. On the 29th the lines were extended so as to envelop the place, the Americans taking the right, with their right flank resting on Wormley Creek. Cornwallis, seeing that he would be outflanked, withdrew to the inner defences, and on the morning of the 30th the besiegers took possession of the abandoned works.[1033]
COUNT DE GRASSE.
From Andrews's Hist. of the War, Lond., 1785, vol. ii. Cf. European Mag., ii. 83; Hennequin's Biographie maritime, iii. 297; E. M. Stone's French Allies, 396, 398; Mag. of Amer. Hist., vi. p. 1; Harper's Mag., lxiii. 330.
The Operations of the French feet under the Count de Grasse in 1781-82, as described in two Contemporary Journals (New York, 1864, for the Bradford Club, 150 copies), edited by John G. Shea, gives two narratives, of which one purports to have been written by a certain Chevalier de Goussencourt, who is hostile and cannot be identified, while the other is anonymous and friendly. This last had been printed at Amsterdam in 1782, and it is suspected was written by De Grasse himself. A sketch of De Grasse's life, for which his family gave material, is prefixed. It also contains (p. 192) the account, abridged from the Gazette de France, Nov. 20th, in the Remembrancer, xiii. 46. A Notice Biographique of De Grasse, by his son, was published in Paris in 1840.—Ed.
COMTE DE GRASSE.
From the London Mag., Aug., 1782, p. 355. There is a profile head in The Operations of the French fleet under the Count De Grasse (N. Y. 1864).—Ed.
On the night of the 5th and 6th of October the first parallel was opened, at a distance of between five and six hundred yards from the enemy's works. It extended from the river bank below the town to a deep ravine nearly opposite the centre of the besieged lines. A battery on the bank above the town opposed a battery of the enemy in that quarter, and also prevented the British fleet from enfilading the works. Guns were mounted and fire opened from this parallel on the afternoon of the 9th. The ground was singularly favorable to the construction of the approaches, and by the night of the 11th and 12th the works were in such a state of forwardness that the second parallel was begun, not more than three hundred yards from the British lines. On the extreme right, however, there were two redoubts, commanding this parallel, which on the night of the 14th and 15th were carried by storm,—the smaller one, on the right, by Lafayette's division, the advance being commanded by Alexander Hamilton; while the one further away from the river was stormed by a party of French infantry commanded by Colonel G. de Deux-Ponts, the Baron de Viomenil having command of the division. The loss on the American side was inconsiderable, but that of the French was severe, the redoubt carried by them being larger and much more strongly garrisoned. Before morning the two redoubts were included in the second parallel. Cornwallis, hoping for relief, determined to prolong the defence as long as possible. To this end, on the morning of the 16th, Lieutenant-Colonel Abercrombie led a determined but useless assault on two batteries at the French end of the trenches. Cornwallis next tried, on the night of the same day, to cut his way out by passing his men over to Gloucester Point; but a storm arose in the midst of the ferrying, and the enterprise, hazardous at best, was abandoned.
An assault becoming practicable, at ten o'clock of the morning of the 17th, four years since Burgoyne's surrender, a drummer-boy appeared on the parapet and beat a parley. Negotiations were begun, but, though pushed with the greatest energy by Washington, the final articles were not signed in the trenches until two days later, on the 19th. On that day, at noon, two redoubts were taken possession of by detachments from the French and American forces. At two in the afternoon the British army, with colors cased and drums beating "The World turned upside down", marched out and laid down their arms; O'Hara, in the absence of Cornwallis, making the formal surrender to Lincoln, Washington's representative.
At the beginning of the siege the British numbered not far from seven thousand men of all arms,—perhaps a few more. On the day of the capitulation, according to Cornwallis, little more than thirty-eight hundred were fit for duty, including the garrison at Gloucester Point. The allied army is usually given at sixteen thousand men,—nine thousand Americans, including thirty-five hundred militia. The French numbered probably more than seven thousand. The total British loss during the siege was five hundred and forty-one, including the missing. The allied loss, excluding the missing, was seventy-six Americans and one hundred and eighty French. It has been stated that, at the time of the surrender, there were about fourteen hundred unfit for duty in the allied camp. This great victory, due even more than most victories to chance, virtually ended the war. It remains only to describe the closing scenes in the South.
CAPITULATION OF YORKTOWN.
From a fac-simile of the articles in Smith and Watson's Hist. and Lit. Curios., 1st ser., 6th ed., pl. xxxiv. Cf. Lossing's Field-Book, ii. 523. The articles are given in Shea's Operations of the French fleet, p. 78; R. E. Lee's ed. of Lee's Memoirs, 509; Tarleton, 438; Polit. Mag., ii. 67; Sparks's Washington, viii. App. 8; Cornwallis Corresp., App.—Ed.
NELSON HOUSE, YORKTOWN.
After a drawing given in Meade's Churches and Families of Virginia, i. 204. It was here that Cornwallis had his headquarters.
See other views and accounts in Balch's Les Français en Amérique, 1; Mag. of Amer. Hist. (1881), vii. 47 (by R. A. Brock); x. 458, July, 1881; Brotherhead's Signers of the Declaration of Independence (1861), p. 61; E. M. Stone's Our French Allies, p. 428; G. W. P. Custis's Recoll. of Washington, p. 337. A journal of Mr. Samuel Vaughan in 1787, owned by Dr. Charles Deane, describes the havoc made in this house by the bombardment.
The Moore house, at which the terms of surrender were arranged, is depicted in Appleton's Journal, xii. 705; Mag. of Amer. Hist., vi. 16 (etching); E. M. Stone's French Allies, 466; Lossing's Field-Book, ii. 530. Washington's headquarters at Williamsburg is shown in the Mag. of Amer. Hist., vii. 270. A view of the field where the arms were laid down is in Paulding's Washington, vol. ii. The so-called Cornwallis Cave is drawn in Scribner's Mag., v. 141. For other landmarks, see Lossing's Field-Book, ii. 509; Cycl. U. S. Hist., 155-157; Porte Crayon's "Shrines of Old Virginia" in Lippincott's Mag., April, 1879. In the Mag. of Amer. Hist. (1881), pp. 270, 275, are views of Washington's headquarters at Williamsburg; and of those, earlier occupied by Cornwallis, the president's house of William and Mary College.
For the Yorktown and Saratoga medal, see Loubat's Medallic Hist. U. S.; Amer. Jl. of Numismatics, xv. 76; Coin Collectors' Journal, vi. 173; Sparks's Franklin, ix. 173.
The best known picture of the surrender is Trumbull's painting, which is engraved in Harper's Mag., lxiii. 344, and elsewhere. Cf. early engravings of the scene in Barnard's Hist. of England; in Godefroy's Recueil d'Estamps (Paris, 1784).—Ed.
Greene's army had been so roughly handled at the Eutaws that it was the first of November before he felt strong enough again to take the field. He advanced first to Dorchester and the Round O. Then, reinforcements arriving from the troops set free by the surrender at Yorktown, he assumed a more vigorous offensive. He advanced to the eastern bank of the Edisto, between Jacksonborough, where the legislature was then assembling, and Charleston, still in the hands of the British. But if the Pennsylvanians[507] were a welcome addition on account of their strength, they brought also a spirit of discontent. A plot was discovered to betray the army into the power of the enemy. A few examples were made and the attempted treason stamped out.
Greene now detached Wayne, with about five hundred men, to do what he could toward the recovery of the Georgia seaboard. On his approach the British retired to Savannah, burning everything that could not be removed. Wayne was too weak to attempt more than the blockade of the town. But on the 21st of May Lieutenant-Colonel Brown left the fortifications as if to attack the Americans. Placing himself between this party and the garrison, Wayne surprised Brown by a night attack, killing or dispersing the whole party. About a month later he was himself surprised by a large body of Creek Indians led by a British officer. Successful at first, the savages were finally beaten off, with the loss of their chief Escomaligo and a dozen braves. On the 11th of the next month, July, 1782, Savannah was evacuated, and the whole State once more came into the hands of the Americans.
The British government had decided upon the abandonment of all posts in America with the exception of New York. On August 7th, Leslie, then commanding in the South, announced in "after orders" that the evacuation of Charleston had been determined on. He also wrote to Greene, proposing a cessation of hostilities. The proposal was declined, Greene having no instructions on the point. Later Leslie again wrote, offering to pay for all rice and other provisions that might be brought into Charleston; but Greene, fearing that the rice was intended for use during a campaign against the French in the West Indies, again refused. Leslie then endeavored to seize the coveted articles by force. One of his foraging parties, commanded by Lieutenant Benjamin Thompson,—better known by his later title of Count Rumford,—surprised and dispersed Marion's brigade while its commander was absent attending a meeting of the legislature. The most serious loss through these desultory expeditions was in the death of the younger Laurens, who was killed during a useless skirmish at Combahee Ferry. This was the last action of the war in the South. On the 14th of December the British left Charleston, and three days later their last ship passed the bar and went to sea. The South was free.
CRITICAL ESSAY ON THE SOURCES OF INFORMATION.
THE most complete contemporary account of the Southern campaign is David Ramsay's Revolution of South Carolina.[1034] This author, by birth a Pennsylvanian, removed to Charleston in 1773, and at once took a leading part in the management of the[508] affairs of that town. During the stormy years of 1779-1780 he was a member of the governor's council, but went with the Charleston artillery company to the siege of Savannah. When Rutledge, with a portion of his council, left Charleston during the siege, Ramsay remained behind with Gadsden. He was, therefore, a prisoner during the greater portion of Gates's and Greene's campaigns. Ramsay was thus a prominent actor in many of the scenes described in his volumes, while his facilities for obtaining accurate information as to the rest were so excellent that his book may be regarded as an authority of the first importance. He retold the story in a condensed form in several other publications.
NATHANAEL GREENE. (Norman's print.)
Moultrie[1035] was a prominent actor in the defence of his native State before the capitulation of Charleston. After that he resided with the other officers at Haddrell's Point until his exchange in 1781. At a later day he was present at the entry of the victorious army into Charleston. Whenever he speaks from his own observation, Moultrie may be trusted[1036]. But he seems to have been too ready to listen to exaggerated stories, and though we must believe that there was a foundation for his account of the sufferings of[509] the Charleston prisoners, it should always be remembered that the charges were indignantly denied by the British officers in charge.
GENERAL GREENE. (From Andrews' History of the War.)
Portraits of General Greene.—One of the earliest of the contemporary prints is the rude copperplate, made by the Boston engraver Norman, which appeared in the Boston edition (1781, vol. ii. p. 229) of An Impartial History of the War in America. A fac-simile is annexed. In 1785, Andrews' History of the War, published in London (vol. i.), had a youthful picture, a reproduction of which is also given herewith. The next year the Columbian Magazine (Sept., 1786), published in Philadelphia, gave an engraving after R. Peale's likeness of Greene, of which a better engraving by Robert Whitechurch can be found in Irving's Washington (ii. p. 8) and in E. M. Stone's French Allies (p. 496). In 1794 the New York Magazine (May) gave as from an original painting a copperplate engraving, of which a fac-simile is given on another page. It is evidently a rendering of the canvas of which, after a photograph given in George W. Greene's Life of Greene, the woodcut on the page opposite to the other is a more adequate representation. There is also a print in the Monthly Military Repository, N. Y., 1796-1797. A portrait by C. W. Peale was engraved, while in the Philadelphia Museum, by Edwin, and appeared in Lee's Memoirs of the War in the Southern Department (vol. i., Philadelphia, 1812). It was again engraved by James Neagle in 1819 for Charles Caldwell's Memoirs of the life and character of the Honorable Nathanael Greene (Philadelphia, 1819); and in 1822 it furnished the head and shoulders, turned in the opposite direction, for the full-length figure, engraved by J. B. Longacre, after a drawing by H. Bounetheau, which is in the first volume of William Johnson's Sketches of the life and correspondence of Nathaniel Greene (Charleston, 1822). One of the pleasantest of the likenesses of Greene is that painted by Col. John Trumbull, which was engraved by J. B. Forrest for the National Portrait Gallery (New York, 1834). The same picture is selected by W. G. Simms for his Life of Greene, and it is given in R. E. Lee's ed. of Henry Lee's Memoirs of the War (N. Y. 1869), and H. B. Anthony's Memorial Address (Providence, 1875) on presenting the statue of Greene to Congress. This statue, modelled by Henry K. Brown, was offered in 1870, and a cut of it is given in the Presentation of the Statue of Major-General Greene in the Senate, Jane 20, 1870 (Washington, 1870), an account of which, under the title of Proceedings in Congress attending the reception of the statue of Maj.-Gen. Greene, was reprinted (twenty copies) in Providence the same year. For congressional documents pertaining, see B. P. Poore's Descriptive Catal. of U. S. Gov't publications, pp. 896, 901, 1221. Congress voted a medal to Greene after the battle of Eutaw, and on one side it bears a profile likeness of Greene. It is engraved in Lossing's Field-Book, ii. 704; and in Ibid. p. 720, is a view of the monument erected to the memories of Greene and Pulaski. The Polish hero has since, however, been commemorated in a separate monument, so that the shaft first erected is now called a memorial of Greene alone. Greene died in 1786 of a sunstroke, at a plantation near Savannah, which had been given to him by the State of Georgia,—it being the confiscated estate of the late royal lieutenant-governor,—and he was buried in Savannah; but when the monument was built, the search to discover his remains was unsuccessful. Cf. The Sepulture of Greene and Pulaski, by C. C. Jones, Jr. (Augusta, 1885)—Ed.
Henry Lee, of Virginia,—"Light-Horse" or "Legion Harry", as he was often called,—though not in the South prior to the days of the Cowpens, was so intimate with all the actors in the operations after the fall of Charleston, and enjoyed such advantages for acquiring information of earlier events, that as a source of information his book[1037] is of considerable value. As the work of an outspoken and generally impartial military critic of these campaigns, it has no equal. It should be borne in mind, however, that as to dates and minor details it needs the confirmation of contemporary documents.[1038] Like so many[510] of the Revolutionary heroes, Lee in his later years became involved in unfortunate speculations, and a painful disease increased the distress of his last days.[1039] As an orator he fashioned phrases which have not yet lost their hold on the popular mind. As a writer he avoided the stilted sentences of his contemporaries, and his book may still be read with pleasure. Probably no one enjoyed the confidence of Greene to such an extent as Henry Lee.[1040]
Nathanael Greene came of good Rhode Island stock,[1041] and, like other prominent Rhode Islanders of his day, was a self-educated man. Fortunately for posterity, though not always for himself, Greene was a copious and candid letter-writer. His letters and fragments of letters, so far as they have been printed, are his best biography.[1042] He has not lacked biographers, however. First, in point of time, was Charles Caldwell, who put forth a worthless volume as early as 1819.[1043] William Gilmore Simms, the Carolina novelist, also[511] tried his hand at the alluring theme, and his book, while possessing no claim to originality, has at least the merit of being interesting. The most formidable of these early biographies was the work of Judge Johnson, of Charleston. He enjoyed the best facilities, as the Greenes placed the family papers at his disposal. Many of these documents he printed at length, and as a repository his work has a value.[1044] In other respects it is worth very little. This is due mainly to the fact that in order to glorify his hero he belittled every other prominent character—with the exception of Marion.[1045] A formidable antagonist of Johnson was soon found in the person of Henry Lee, the son of Light-Horse Harry. He resented the slurs of Johnson, and even wrote a book[1046] to show the small reliance to be placed on the learned judge's military criticisms. As a review, the work of the younger Lee is interesting, but it is so one-sided as to be of little importance.
It is, however, to the labors of a descendant that the great leader owes much of the honor in which he is held. In various publications, from the little seven-page sketch in the Pennsylvania Magazine of History (vol. ii. p. 84) to the large three-volume biography,[1047] the grandson sought to spread the fame of the grandsire. Unfortunately, through these family works of love there runs the same spirit of adulation that so disfigured Johnson. A still greater drawback to the value of the largest work is the hesitation of the author in printing letters and documents not elsewhere in print.
In this respect the biographer of Greene's able lieutenant, Daniel Morgan, set a good example. In fact, Graham's Morgan[1048] is an excellent and generally trustworthy book.[512] It is to be noted that Graham has cleared Morgan from the charge that he retired from the army after the Cowpens, through a treasonable fear that the Revolution would not be successful. Nor does the assertion that Morgan was chagrined at the treatment accorded him by Greene appear to be well founded.
GENERAL GREENE. (New York Magazine, 1794.)
But of all the Southern leaders, Marion was most fortunate in his biographers.[1049] It is true that Horry's work was largely written by Mason L. Weems, notorious for his so-called Life of Washington. Both Horry and James had a foundation for their narratives. The confidence reposed by Greene in his ablest leader of irregular troops is best seen in their letters printed by Gibbes in his Documentary History,[1050] which is composed[513] mainly of the "Horry Papers", already used in Horry's memoir. Another partisan worthy of mention was Pickens. But of him only slight and unworthy sketches have been printed.[1051]
The only extended notice of Benjamin Lincoln is the biography by Francis Bowen in Sparks's collection.[1052] This book was not written in the calm judicial spirit that should characterize an historical work. Many of Lincoln's order-books have been preserved, and have been of material service in preparing the foregoing narrative. Though Lincoln's career was marked by no brilliant successes, his work was always well done, and demands a fuller recognition.[1053]
GENERAL GREENE. (After a Photograph of a Painting.)
Little original material concerning the operations in Georgia has come to light. It is fortunate, therefore, that Hugh McCall overcame his physical infirmities to such an extent as to enable him to finish the second volume of his History of Georgia. This writer was an active cavalry leader in the defence of his native State. He also fought well on other fields. It should he said, however, that what he wrote of actions in which he[514] did not take part should be received with caution. His work is the basis of all subsequent accounts of the war in Georgia.
Anthony Wayne and his Pennsylvanians did good service in Virginia, and later in Georgia. But the life of Wayne remains to be written.[1054] His letters and reports are scattered here and there through the books. The best account of his career is the one printed by his son in the Casket, a magazine not to be found in every library.
The second volume of Wheeler's Sketches of North Carolina contains many articles by actors in the struggle. But they were mostly written long after the event, as, too, were those in the North Carolina University Magazine. They should not be relied upon unless confirmed.[1055] This is the more regrettable as there is very little original material in print relating to these North Carolina campaigns from a North Carolina point of view. The most labored defence of the "Old North State" is Caruthers' Incidents.[1056] Much of this work seems to be based on good material; but one should be especially careful to separate such portions from those founded on tradition, which must have misled Caruthers in several instances. Of the same general character are Johnson's Traditions;[1057] Logan's Upper Country of South Carolina; Foote's Sketches of Western North Carolina; and C. L. Hunter's Sketches of Western North Carolina (Raleigh, 1877). Such are the[515] main sources of information from the American side so far as the campaigns in the Carolinas and Georgia are concerned. Let us now turn to Virginia.
On his way South, Greene left Steuben[1058] in Virginia to organize and push forward recruits as fast as possible. The gallant Prussian seems to have been ill-suited to the command of raw republican militia; but the American leaders in the State, Muhlenberg, Lawson, and Stevens, aided him as well as they could. It was not until the arrival of Lafayette with his Continentals from the Eastern States that much was done to oppose the enemy. The governor of Virginia, Thomas Jefferson, showed a lamentable lack of energy during Arnold's and Cornwallis's invasions, though the word "imbecility", applied to his conduct by Howison, would seem to be undeserved.[1059] Of course, Jefferson's biographers have defended their hero from these charges,[1060] but Giradin's Continuation of Burk's Virginia,[1061] written in the neighborhood of Monticello, and apparently under Jeffersonian auspices, is the most extensive account of Jefferson's administration from his side.
It was not, however, until the publication of the Virginia State Papers[1062] that the truth concerning the campaigns preliminary to Yorktown could be ascertained. But these two volumes taken in connection with the Nelson Papers have thrown a new light on all these transactions.[1063]
Washington's Writings and Sparks's Correspondence of the Revolution contain much relating to all these operations, though Washington's Journal and his order-books are even more valuable for the Yorktown campaign. Of the commander of the auxiliary troops, the Marquis of Rochambeau, I have found little outside of his well-known[516] Mémoires.[1064] For much of what we know concerning the movements of the French we are indebted to John Austin Stevens, a former editor of the Magazine of American History. His articles, as well as those by other hands, will be mentioned in the Notes.
The papers of the British commanders have been much better preserved. All official documents of popular interest and conducing to the glory of the nation were published, sometimes in full, sometimes in extract, in the governmental organ known as The London Gazette. Thence they were copied, in whole or in part, into the Remembrancer, Gentleman's Magazine, Scot's Magazine, Political Magazine, and often into that portion of the Annual Register known as "Principal Occurrences." Many of them, and many other papers of the greatest importance, were printed in the Parliamentary Register, or Debrett's Debates, as it is often called.
The Sackville Papers, forming the third appendix to the Ninth Report of the Royal Commission on Historical Manuscripts,[1065] contain much of very great value; but many of the most important papers therein printed have been accessible in other forms. Soon after the surrender at Yorktown, the House of Lords appointed a committee to inquire into the conduct of the Yorktown campaign. Later, upon their order, many of the letters and papers bearing on this event were printed. They may be found in the Parliamentary Register,[1066] while many were translated into French, and published in a small volume under the title of Correspondance du Lord G. Germain avec les Généraux Clinton, Cornwallis, etc. (Berne, 1782). Most of these documents, however, had been already printed in other places. The surrender induced Cornwallis[1067] and Clinton to lay upon the shoulders of each other the responsibility.[1068] The truth seems to be that neither was responsible, since the disaster was due, above all, to the arrival of De Grasse and the consequent transference of the control of the sea from the British to the Allies. For this neither Clinton nor Cornwallis[517] was to blame. The quarrel led to the publication, however, of so many papers of the greatest importance that the historical student can hardly regret its occurrence.
Nor was Clinton on good terms with Mariot Arbuthnot, who had accused Clinton of permitting thievery to go on under his very eyes.[1069] Naturally this want of cordiality made coöperation very difficult. After Clinton's departure Cornwallis was the commander-in-chief in the South; but Colonel Nesbit Balfour, who commanded in the city of Charleston, made separate reports to Germain. He does not seem to have been possessed with a very sanguine disposition, and his reports therefore present a more accurate picture of affairs than do the despatches of Cornwallis himself.
Several of the British officers wrote formal accounts of their doings, the most notable of which is Tarleton's Campaigns.[1070] Portions of it are trustworthy, but in general the author placed his own services in such a favorable light that the true course of history is almost unrecognisable. Nevertheless, the book contains so many documents not elsewhere to be obtained, except at great labor, that it has a value. Tarleton's unjust discriminations and criticisms brought forth a most caustic review from the pen of Mackenzie,[1071][518] a Scotch officer, who served in a regiment which often accompanied the "Legion." Cornwallis, who had also been attacked by Tarleton, never replied to his criticisms in print; but he wrote to a "friend" (cf. letter dated Calcutta, Dec. 12, 1787, in the Cornwallis Corres., i. 59, note) that "Tarleton's is a most malicious and false attack; he knew and approved the reasons for several of the measures which he now blames. My not sending relief to Colonel Ferguson, although he was positively ordered to retire, was entirely owing to Tarleton himself: he pleaded weakness from the remains of a fever, and refused to make the attempt, although I used the most earnest entreaties." It should be noted, however, that this alleged refusal on Tarleton's part created no coolness at the time. Simcoe's narrative[1072] is even more egotistical than Tarleton's. But his details may be relied upon if one constantly remembers that events are related without any regard to their real importance. Captain, afterwards General, Graham served with Cornwallis in the 76th Highlanders through the most important portions of his North Carolina and Virginia campaigns. His Memoirs,[1073] therefore, though execrably edited so far as the American portion is concerned, should be consulted. Another book which partakes of the nature of an original source is the so-called Journal[1074] of R. Lamb, who served through the war, and his statements have a value. The only regimental history of much interest is Hamilton's Grenadier Guards,[1075] a corps which after Cowpens rendered good service, and this account of their achievements bears all the marks of originality. There are but few manuscripts of importance, written by British officers, accessible on this side of the ocean.[1076]
The most valuable history of the Revolution from a British pen is Gordon's well-known work. This author was assisted by Gates and Greene so far as the Southern campaigns were concerned. The volumes contain, moreover, many fragments of letters that have never seen the light in their entirety. Taken altogether, this work ranks with Ramsay as an authority of the very first importance. The only other important History of the American War from the English side is the work which bears the name of Charles Stedman on the title-page. Whoever the author of the text may have been, the writer of many of the notes in the part devoted to the war in the South was undoubtedly an on-looker. Still another work worthy of mention in this place, though mainly as the repository of documents, is Beatson's Memoirs. In addition there are numerous diaries, journals, etc. They relate mainly to but one battle or campaign, and will be mentioned in the following "Notes."
Savannah, 1778.[1077]—Campbell's formal report to Germain was first printed in The London Gazette for Feb. 20-23, 1779,—reprinted in Remembrancer, vii. 235; Hough's Siege of Savannah, Introduction, p. 7; Gentleman's Magazine, 1779, p. 177; and Dawson's Battles, i. 477. Major-General Augustine Prevost's report is in the Gazette for Feb. 23, 1779, and Remembrancer, vii. 243. It deals especially with his march from St. Augustine and capture of Sunbury.[1078] An American account of this latter event is in McCall's Georgia, ii. 176. Captain Hyde Parker[1079] reported to the Admiralty through the customary channel, and his report usually follows that of Prevost, as above. Howe seems to have presented no formal report, but Lincoln wrote to Washington (Corresp. Rev., ii. 244) early in the next year, describing the disaster. Howe's own side of the case, however, is fully set forth in the Proceedings of a General Court-Martial held at Philadelphia in the State of Penna. by order of his Excellency General Washington, Phila., 1782; reprinted in the New York Historical Society's Collections (1879, pp. 213-311), where will be found Howe's orders (Dec. 29th,[1080] p. 282) and statement (pp. 285-310). The court, presided over by Steuben, acquitted Howe on all the charges "with the highest honor." Nevertheless, the majority of writers have been unfavorable to Howe. See especially Moultrie's Memoirs, i. 244; Lee's Memoirs (2d edition), p. 40; Ramsay's Rev. in S. C., ii. 4. This last is a fairer view, and is followed by Gordon (American Revolution, iii. 212). See also Stedman, American War, ii. 66; McCall's Georgia, ii. 164, and C. C. Jones's Georgia, ii. 314. In this, the most recent history of Georgia, all the old statements are repeated.[1081]
An American description from a different point of view is the Account of the Capture of Mordecai Sheftall, Deputy Commissary of Issues to the Continental Troops for the State of Georgia, in White's Historical Collections of Georgia, p. 340. Sheftall also testified at the court-martial.[1082]
Minor Actions, 1779.—There is not much to be found as to Lincoln's doings before the siege of Savannah except his manuscript "order-books." Moultrie made an elaborate report of his encounter near Beaufort.[1083]
McCall was present at Kettle Creek, and his account[1084] of Boyd's overthrow has been generally followed by later writers. No official report of the affair has been found. The disaster at Brier Creek was much better chronicled. First comes Ashe's report to Lincoln (Moultrie, Memoirs, i. 323, and abridged in Dawson, Battles, i. 492). Lincoln wrote a good account of the affair (an extract of his letter in Dawson, as above), and the evidence given at the court-martial[1085] which tried Ashe is as full as can be desired.[1086] The British accounts do not differ essentially from these.[1087]
There is no lack of original material as to Prevost's unsuccessful attempt on Charleston,[1088] and Lincoln's attack on Stono. Moultrie made no formal report, but the documents and bits of journals scattered through his Memoirs (i. 412-506) may well take its place. Prevost's report of his attempt was dated June 12, 1779 (London Gazette, Sept. 21-25, 1779, reprinted in Remembrancer, viii. 302). His report as to Stono is in the Gazette, as above, and also in Remembrancer viii. 300. Lincoln's version of the latter affair is contained in a letter to Moultrie (Memoirs, i. 490, and Dawson, i. 501). Moultrie also printed other letters (cf. especially one from Colonel Grimkie in Memoirs, i. 495), and an interesting journal by an unknown hand is in Remembrancer (viii. 349). Capt. John Henry, who succeeded Parker, in his reports corroborated Prevost as to the offer of neutrality on the part of some one in Charleston (London Gazette, July 10-13, 1779, and Remembrancer viii. 183). Clinton also has something to say on the campaign in general in a report to Germain (Remembrancer, viii. 297).[1089]
Lincoln has been criticised for his march into Georgia, but the movement had the unanimous support of his generals. Cf. report of the council of war in Moultrie, i. 374. He supposed rightly, as we now know (cf. Prevost's report in Remembrancer, viii. 302), that the British commander's only object was to compel his return to South Carolina. Moultrie could have offered sufficient resistance if one half of his men had not deserted. Nevertheless, Lincoln was assailed in the Charleston papers, and complained bitterly of their unfairness. Cf. letter to Moultrie in Memoirs, i. 477. With regard to Rutledge's offer of neutrality, Professor Bowen has undoubtedly gone too far in describing it as "little short of treason."[1090] Still, if, as Rutledge's friends claim, the proposition was made merely to gain time, it was not made in good faith, and was therefore highly discreditable to the governor. But there is no evidence that the proposition was made in any such spirit, except the statement in Ramsay, which was copied by[521] Gordon. The truth seems to be that Rutledge, greatly overestimating the numbers of the enemy, sought to save his native State from pillage. He yielded too easily to his fears. Moultrie takes no pains to conceal his disgust at the offer. The younger Laurens refused to have anything to do with the matter, while Gadsden and Ferguson, two members of the Council, voted against the proposal, and Edwards, another member, wept at the thought. Unfortunately, the minutes of the Council have been lost. Cf. Johnson, Reply to Bentalou and Sparks.[1091]
SIEGE OF SAVANNAH, September-October, 1779.
Sketched from a MS. map belonging to Dr. Samuel A. Green, of Boston, found in Paris, and giving the French view.
The plans of the siege are mainly English ones. That made by Colonel Moncrieff and published by Faden is used in Stedman's American War, ii. 79, and is reduced in Lossing's Field-Book, ii. 736. Cf. also C. C. Jones's Two Journals for a fac-simile (reduced in Hist. of Georgia, vol. ii.) of a Plan of the French and American Siege of Savannah in Georgia in South America [sic] under Command of the French general Count d'Estaing. The British commander in the town was General August Prevost, 1779. It is from Hessian sources, and resembles Faden's. Also see Moore's Diary of the Amer. Rev., 1st ed., ii. 221. Carrington (p. 483) gives an eclectic map. Two contemporary MS. French maps (one measuring 28 × 16 and the other 22 × 22 inches) are in the Boston Public Library (Dufossé, Americana, no. 5,495). There are various MS. plans of Savannah and the siege among the Peter Force maps, and one in the Faden collection in the library of Congress. A good map of this region is The Coasts, Rivers, and Inlets of the Province of Georgia; surveyed by Joseph Avery and others, and published by command of Gov't by J. F. W. Des Barres, 1st Feb., 1780. Parker did not find his charts correct. Remembrancer, vii. 246.—Ed.
It is to be noted that, although there is no record of the actual presence of Indians at this siege, their absence was not due to any remissness on the part of Rutledge, who made every effort to persuade a band of "eighty Catawbas" to act with Moultrie. (Cf. the latter's Memoirs, i. pp. 397, 419, and 453.)
Siege of Savannah, 1779.—The best account of this disastrous siege is the Journal, by an unknown hand, which Col. C. C. Jones has translated, with copious notes, in his Siege of Savannah in 1779 as described in two contemporaneous journals of French officers in the fleet of Count D'Estaing, Albany, 1874, pp. 9-52. The other journal, of which he there gives a partial translation, is the well-known Extrait du Journal d'un Officier de la Marine de l'escadre de M. le Comte D'Estaing, 1782.[1092] Still another French account is in the form of an official report,[1093] and may have been the report of the commander himself. This is by no means certain, though Soulés (Troublés, iii. 217), in speaking of the numbers given in this report, says: "Le Comte d'Estaing dit dans sa relation", etc. This was first printed in the Paris Gazette, and was reprinted in the English and American papers of the time.
Prevost made an elaborate report to Germain, under date of Savannah, Nov. 1, 1779. It was accompanied by translations of the correspondence between the commanders, and was first printed in The London Gazette, Dec. 21-25, 1779.[1094] Captain John Henry also reported through the usual channel. He viewed the siege from a point different from Prevost's, and his report is therefore of interest.[1095] Hough has also reprinted in his Savannah two "journals" from English sources.[1096] Mention must also be made of a valuable Memorandum of a very critical period in the Province of South Carolina, inclosed in a letter from J. H. Cruger to H. Cruger, etc., dated Savannah, Nov. 8, 1779, in Magazine of American History, 1878, p. 489.[1097]
Lincoln's report is very meagre (Hough, Savannah, 149). It should be supplemented by An Account of the Siege of Savannah furnished by an Officer engaged in the attack, Major Thomas Pinckney.[1098] Stevens, the Georgia historian, had access to Prevost's order-book, and he has printed in his Georgia (ii. 200, etc.) a few documents not otherwise accessible. Lincoln's order-book is still in existence, and his papers were used by Lee in his valuable account of the affair[523] (Memoirs, i. 99). The orders for the assault have been printed.[1099]
Moultrie was not present during the siege, but he gives a graphic account of the assault (Memoirs, 33-43). It is curious to note his attempt to defend the militia from the charge of luke-warmness on the ground that they joined the army to witness the surrender of the British, not to take part in a bloody storm. Ramsay was present at the siege, and his account is good (Rev. in S. C., ii. 34. See also Gordon, iii. 325, and Stedman, ii. 121). Captain McCall was there, too, and his account (Georgia, ii. 240-283) may be regarded as an original authority. The local histories[1100] are sufficiently detailed for the general reader, and there are at least two good French accounts,[1101] while the German historians[1102][524] should not be neglected, as there was a "Hessian" regiment in the town.
D'Estaing has usually been represented as hurrying on board and sailing away just in time to avoid a predicted storm. So far was this from being the case, that, although the assault was made on the 9th of October, the French were in front of the town on the 19th and 29th of the same month. The bulk of the fleet was blown from the anchorage on the 26th, though the last frigates did not leave until the 2d of November.[1103] Historians ignoring these facts have too often praised the prescience of D'Estaing. The truth seems to be, that, being conscious of exceeding his instructions and impatient of delay, the French commander hazarded everything on an assault, and lost. The delay in getting away was due for the most part to the bad discipline which prevailed in the fleet.[1104]
This gallant defence made Prevost a major-general, though he enjoyed his honors for but a short time, as he died in 1786. Maitland, to whose timely succor so much was due, died on the 26th of October from a fever contracted, it was supposed, during his gallant march to the aid of the beleaguered town. Cf. Hough, Savannah, p. 110. The success of the defence was due mainly to the talents and energy of the engineer officer, Moncrieff, attached to Prevost's expedition. No one was more conscious of this than Prevost, who wrote of him in the warmest terms in his report to Germain.[1105]
The charge of Oct. 9th was fatal to two of the most romantic characters in our Revolutionary history, Jasper and Pulaski.[1106]
Charleston, 1780.—Lincoln presented no detailed report of his unsuccessful defence of Charleston, though a short note announcing the capitulation is in print. Lincoln asked for a court of inquiry into his conduct.[1107] But as no one doubted his integrity or capacity, no court[525] was ever held. As to the siege itself, Moultrie has been the main reliance. His Memoirs (ii. pp. 65 et seq.) contain the official correspondence between the opposing commanders, and a diary or journal running from March 28th to May 12th, which bears all the marks of a contemporaneous document. Ramsay, too, was present at the defence, but his account (Rev. in S. C., ii. 45-62,—followed by Gordon, iii. 346) is very meagre.[1108]
On the British side, the descriptions in Tarleton (Campaigns, 4-23) and Stedman (American War, ii. 176-192) are interesting and detailed. So far as they relate to events outside of the immediate vicinity of the city, they are trustworthy; but neither of these officers was present at the siege itself.[1109] Of more importance than any contemporary account, with the possible exception of Moultrie's journal, is the report of Clinton to[526] Germain. It is also in the form of a journal, and runs from March 29th to May 12th, and is printed as a part of The London Gazette Extra, issued on the 15th of June, 1780.[1110]
CHARLESTON, 1780.
"Key: A, landing of the king's troops at Edisto inlet on the 11th Feb., 1780. B, march of the army on landing from James island. C, the king's ships in the offing, waiting for the spring tides to cross the bar, which being effected the 20th March, they anchored in Five Fathom hole, whence having [passed] through a heavy fire from Fort Moultrie and the batteries of Sullivan island, [they] dropped anchor before the town on the 9th of April. E, redoubts to protect the transports in Stono river. F, strong redoubt erected near Fort Johnson. G, battery to remove the enemy's ships at d in Ashley river. H, bridge made over Wapoo. I, march of the army from Linning's to Drayton's, 29th March, whence having crossed Ashley river, [it] halted the same night at X. K, encampment of the army, 30th March, on Charlestown Neck. L, march of a strong reinforcement to Col. Webster's corps, under the command of Earl Cornwallis, to cut off the enemy's communication by Cooper river. a, Fort Moultrie and works on Sullivan island, with the enemy's ships to enfilade the channel (surrendered on terms the 4th of May to the seamen and marines of the fleet). d, strong post on Lempries. e, ships in Cooper river, and Boom to obstruct the navigation. f, post on Mount Pleasant. g, Gibbs' Landing. h, redoubts and batteries to establish the first parallel begun the 1st of April. i, second parallel finished the 19th April. k, third parallel completed the 6th of May, whence having by sap drained and passed the enemy's canal works, [it] was carried on towards the ditch of the place, and the garrison, consisting of upwards of 6,000 men, [were] surrendered to his Majesty's arms, under the command of Lt.-Gen. Sir Hen. Clinton, K. B., etc., and Vice-Admiral Mariot Arbuthnot, on the 10th of May, 1780. The king's army and works are colored red, the enemy's yellow."—Ed.
The correspondence between Clinton and Germain with regard to the planning of this campaign is in the Ninth Report of the Hist. MSS. Commission, App. iii. pp. 95, 98, etc.[1111] In this same appendix are three letters from Arbuthnot to Germain, giving interesting details. His official report was made to Mr. Stevens, secretary of the Admiralty, and was printed with Clinton's report. It is especially valuable with regard to the operations of the fleet. There is a critical account of the siege in Lee's Memoirs, i. 115-142, and the more popular descriptions are unusually good, especially those from German sources.[1112]
Minor Actions, 1780.—It is to be regretted that we have no official account of the disaster at the Waxhaws from the American commander. Tarleton's official report to Cornwallis was originally printed in The London Gazette Extra, July 5, 1780.[1113] The description of the affair in Dawson's Battles, i. 582, is based upon Adj. Bowyer's Particular Account of Colonel Buford's defeat. It differs materially from the account of the British commander.[1114]
Lee says that most of the wounded died of their wounds. This can hardly be true, as Muhlenberg in a letter to Washington (Muhlenberg's Muhlenberg, 368) says that the prisoners taken at the Waxhaws have nearly all returned. There are no plans of the battle, and it has been found impossible to make any estimate of the numbers engaged.[1115]
SIEGE OF CHARLESTON.
Reduced from the plan in Johnson's Traditions and Reminiscences of the Amer. Rev. (Charleston, 1851), p. 247.—Key (American works): A, Wilkins, 16 guns; B, Gibbs, 9 guns; C, Ferguson, 5 guns; D, Sugar House, 6 guns; E, old magazine, 5 guns; F, Cummings, 5 guns; G, northwest point, 4 guns; H, horn-work (citadel) and lines, 66 guns, beside mortars; K, Gadsden's wharf, 7 guns; L, Old Indian, 5 guns; M, Governor's bridge, 3 guns; N, Exchange, 7 guns; O, end of the bay, Littleton's bastion, 4 guns; P, Darrell's, 7 guns; Q, boom, eight vessels, secured by chains and spars.
(British works). 1, 2, 3, 4, 5, 6, redoubts begun April 1st; o, second parallel, finished April 19th; p, third parallel, completed May 6th; q, gun batteries; r, mortar batteries.—Ed.
There is a contemporary English map: Environs of Charleston, S. C. Published June 1, 1780. By Capt. George Sproule, Assistant Engineer on the spot; and a MS. Sketch of the coast from South Edisto to Charlestown, 1 March, 1780,—showing, among other things, "the rebel redoubt" at Stono. The best plan of the siege itself is A Sketch of the operations before Charleston, the Capital of South Carolina. Published 17th of June, 1780, according to Act of Parliament, by I. F. W. Des Barres, Eng. It will be noticed that this was put forth two days after Clinton's despatch of May 14th was published in London. It is a large map, showing the positions in colors. There are two copies in the Harvard College library. It has been reprinted by Mayor Courtenay in the Charleston Year-Book for 1882, P. 360, as "Sir Henry Clinton's Map, 1780", with a description (p. 371). Some one has apparently attempted to remove the inscription referred to above, and only the words "of June, 1780" are legible. In other respects it is identical with the Des Barres map. In his Year-Book (1880, p. 264) Mayor Courtenay has reproduced an interesting Plan of Charlestown. With its Entrenchments and those made by the English, 1780. It relates only to the lines themselves, and was probably the work of an American. There is a good map, with lines in colors, in Faden's Plans of Battles, which is reproduced in Tarleton, p. 32, and Stedman, ii. 184, Ramsay (Rev. S. C., ii. 59) gives an excellent map of a later date, as does Gordon (iii. 358). See also Lossing, Field-Book, ii. 765; Marshall's Washington, atlas no. 10; Moore's Diary, ii. 258; Carrington's Battles, p. 498; Mag. of Amer. Hist., 1883, p. 827; and R. E. Lee's edition of Lee's Memoirs, p. 146. Mention should also be made of a MS. plan in the Faden coll., and of a map, apparently of French origin, the property of Daniel Ravenal, of Charleston (Charleston Year-Book, 1884, p. 295), which Mr. De Saussure regards as a copy of "Brigadier-General Du Portail's engineer's map;" but there seems to be no evidence of this in print. There is a good chart of Charleston harbor in the corner of Des Barres's map, and in the so-called Mouzon Map (1775), while Ramsay (Rev. S. C., ii. 52) has a Sketch of Charleston Harbour, showing the disposition of the British fleet under the command of Vice-Admiral Mariot Arbuthnot in the attack on Fort Moultrie on Sullivan's Island in 1780.
Attempts at the identification of localities have been made by W. G. De Saussure in Charleston Year-Book (1884, pp. 282-308), and in an Historical Map of Charleston, 1670-1883, in the Year-Book for 1883. A plan of Fort Johnson on James' Island is in Ibid. (p. 473). These latter maps are also in a reprint of a portion of this Year-Book, issued under the title of 1670-1783: The Centennial of Incorporation, 1883 (Charleston, 1884).
There are other charts of the harbor in the No. Amer. Pilot; in the Neptune Americo-Septentrional. A chart of the harbor and bars by R. Cowley is sometimes noted as published in London in 1780.
There are other maps of Charleston in Bellin's Petit Atlas Maritime, vol. i. 37; in Castiglione's Viaggio p. 309, etc. There are among the Rochambeau maps in the library of Congress (no. 19) Vues de la rade de Charleston et du fort Sullivan, 1780, and a colored plan (no. 46), measuring 20 X 18 inches, called Plan de la ville de Charlestown, de les retrenchments et du siège fait par les Anglais en 1780.—Ed.
For the period between the Waxhaws and the disaster near Camden, the reports of Cornwallis are of value (Remembrancer, x. 261; Pol. Mag., i. 261, etc.); Ramsay, Rev. in S. C., ii. 128-145, has a fair account. The affair at Ramsour's Mill has not been given due prominence in the general histories. There is a good account of it in Caldwell's Greene, 123. But the description which has generally been followed is the one which General Joseph Graham—who was not present at the fight—printed in the Catawba Journal for Feb. 1, 1825.[1116]
Colonel Williams transmitted a report of the action at Musgrove's Mill to Gates (Remembrancer, xi. 87). But the best account of the affair is in Draper's King's Mountain, who (p. 122) gives a list of his authorities. See especially MCCall, Georgia, ii. 304-317; Jones, Georgia, ii. 452; and Amer. Whig Rev., new series, ii. 578.
Gates's Defeat near Camden, 1780.—The defeated general dated his official report at Hillsborough, Aug. 20, 1780 (Remembrancer, x. 335; Tarleton, 145; Sparks's Correspondence of the Revolution, iii. 66 and 76; Mag. Amer. Hist., v. 502, etc.). Cornwallis presented two reports bearing on the campaign. In the first—sometimes dated Aug. 20th, and sometimes Aug. 21st—he follows his movement to his arrival at Camden. The second—always dated the 21st—takes up the story at that point. They are both in the London Gazette Extra for October 9th, 1780.[1117]
I have found nothing official from Rawdon;[530] but on Sept. 19th, 1780, he wrote to his mother, the Countess of Moira, describing the events preceding the battle. He speaks of the course taken by Gates as "the ruinous part which they, the Americans, actually did embrace", adding that De Kalb had advised Gates to cross Lynch's Creek and attack him there. This Rawdon learned from an aide to De Kalb[1118]—probably Du Buysson—who was taken with his chief.[1119]
Tarleton, too, was a participator in the action, and his account (Campaigns, 85-110), though written long after the event, is valuable. It begins with Cornwallis's arrival at Camden.
But the description of the campaign and battle which far outweighs all others, is the Narrative of the Campaign of 1780, by Colonel Otho Holland Williams, Adjutant-general,—printed as "Appendix B" to Johnson's Greene, vol. i. pp. 465-510, and copied thence into Simms's Greene, Appendix. There is no reason to doubt the general accuracy of the story, though no one knows when Williams wrote it. Two of the American commander's aides wrote accounts. The more important is the letter from Thomas Pinckney to William Johnson, the biographer of Greene, dated Clermont, July, 1822, and therefore written long after the battle; but the author's recollections so exactly agree with the facts as now known that it is an account of the greatest value.[1120]
The other is Major McGill's letter to his father, written within eight miles of the scene of action.[1121]
McGill carried Gates's despatches to Jefferson, then governor of Virginia, and gave him an account of the battle, which formed part of a statement "of this unlucky affair, taken from letters from General Gates, General Stevens, and Governor Nash, and, as to some circumstances, from an officer [McGill] who was in the action."[1122]
Still another excellent narrative of the campaign is in A Journal of the Southern Expedition, 1780-83. By William Seymour (Penna. Mag. of Hist., vii. 286, 377), who was sergeant-major of the Delaware regiment. The journal begins at Petersburg, May 26, 1780, thus describing the whole movement.
CAMDEN, August 16, 1780.
Faden's map, dated March 1, 1787,—the same used in Tarleton (p. 108) and in Stedman (ii. 210) and in the latter dated Jan. 20, 1794. Key: 1. Three companies light infantry. 2. Twenty-third regiment. 3. Thirty-third regiment. 4. Volunteers of Ireland. 5. Infantry of the British Legion. 6. Hamilton's corps. 7. Bryan's corps. 8, 8. Two battalions, seventy-first regiment. 9. Dragoons, British Legion.
This same plan is re-engraved in the Mag. of Amer. Hist., v. 275, and in R. E. Lee's ed. of Henry Lee's Memoir of the War, etc., p. 182. The original MS. of the plan is among the Faden maps (no. 51) in the library of Congress. There is an eclectic plan in Carrington's Battles, p. 533; but the best of the modern maps is that by H. P. Johnston in Mag. of Amer. Hist., viii. 496. Cf. Lossing's Field-Book, ii. 466. The Political Mag., i. 731, has a map of the roads about Camden.—Ed.
There are numerous descriptions by persons who, though not actually present at the disaster, yet enjoyed exceptionally good advantages for obtaining correct information.[1123]
Of the earlier historians, Gordon (History, iii.[532] 391 and 429) enjoyed the best advantages. He visited Gates in 1781 and used his papers. These MSS. had disappeared until a few years ago, when Dr. T. A. Emmet, whose grandfather was Gates's counsellor, found them in a garret. (Cf. Mag. Amer. Hist., v. 241.) A portion of this collection was printed in Ibid. v. 281; as to the value of those reserved I have been able to learn nothing. A large part of the papers printed consists merely of the orders issued during the campaign. The most important of these—technically termed "after-orders", giving the order for the movement which brought on the action—have been printed over and over again.[1124]
We have no detailed account of Sumter's attempt to injure the enemy, nor of his overthrow at Fishdam Ford, except that in Tarleton's Campaigns, 110-116. As may be imagined, Tarleton gave his own side of the case more than due prominence. Lee, in his Memoirs (i. 187), gives a good account. He adds that "Tarleton evinced a temerity which could not, if pursued, long escape exemplary chastisement." There is something in Stedman, ii. 211, and in Ramsay, Rev. in S. C., ii. 152. The accounts in the more popular books are so inaccurate that no mention of them is required.[1125]
Treatment of the Southern People by the British.—The well-known letters from Rawdon to Rugely have been widely printed.[1126]
GATES'S DEFEAT AT CAMDEN.
The movements as detailed in a plan by Colonel Senff, preserved among the Steuben Papers (N. Y. Hist. Soc.), are shown in this sketch after a cut in the Mag. of Amer. Hist. (1880), vol. v. p. 275. The plan and accompanying journal, taken from the Steuben Papers, are in the Sparks MSS., no. xv. A marsh and the river were on the American right and the British left. The road to Camden is marked by parallel lines. The American right, 400 Marylanders under General Gist, were between the road and the low ground at 1, with two cannon on their right at 2, and two others on the left in the road at 3. Beyond the road were three brigades of North Carolina militia (4, 4, 4), under Brigadiers Rutherford, Graigery, and Butler, with two field-pieces at 5, on their left. Beyond this the American line was completed by 700 Virginia militia under Brigadier Stevens (6), and 300 light infantry under Colonel Potterfield (7). Colonel Armand, with 60 horse, was in the rear (8) of this part of the line, and as a reserve Smallwood with the first Maryland brigade of about 400 men, was across the road at 9. [The names are given as in the sketch.]
On the British side the first troops to appear were at 10 with a field-piece, and their main body formed at 11. The American troops at 6 and 7 advanced to 12, and were met by the British (11) moving by their right flank and then advancing to 13. The American reserve (9) then moved to 12 to support the left wing, while the right wing (1) advanced to 12 and engaged the British left (13). The Americans at 4, 4, 4, and 12 (opposite 6 and 7) now broke and fled. At this opportune moment the British cavalry (14) charged along the line shown by small crosses, and turning to the right and left took in reverse the Americans at 1, and the reserve (9) in their new position at 12. The whole American army scattered in retreat before the British advance.—Ed.]
With regard to the treatment of those captured at Savannah and Charleston, Southern writers do not seem to have strictly adhered to the truth. Those captured by Campbell were protected by no treaty of capitulation; and as to those taken at Charleston, the charges of Moultrie and others were always denied.[1127]
Isaac Hayne, at the time of the surrender of Charleston, was a colonel in a militia regiment, but, being in the country, he was not included in the capitulation. His wife and two children were ill with the small-pox, and it was impossible to take them to a place of refuge. He went to Charleston and offered to give his parole as a prisoner of war. He was told that he must take the oath of allegiance or be confined as a rebel. It was a hard position, and, thinking of his wife dying at home, he took the oath; not, however, until he had called Ramsay (Rev. in S. C.) to bear witness that he was forced to it by necessity. He retired to his farm, and lived there unmolested until the success of the American arms once more brought his friends around him. Then he was told by the British leaders that he must arm on the king's side or go to prison. He regarded this as a violation of his agreement, and enlisted under Pickens. He commanded a regiment of militia drawn from the neighborhood, and composed of men who believed with him that when protection was withdrawn the duty of allegiance went with it. Soon after this he captured, not many miles from Charleston, Williamson, a noted renegade, who was regarded by his former friends as the "Arnold of the South." On his way back Hayne was captured, taken to Charleston, and hanged.[1128] The fact that Greene and Marion (Gibbes, Doc. Hist., i. 125) both regarded it as calling for retaliation[1129] goes a great way towards showing that Rawdon and Balfour acted harshly and precipitately in the matter; but the case is an admirable example of the light in which Cornwallis—for Balfour tried to justify his conduct by a reference to the letter or order issued by Cornwallis after Camden—persisted in regarding those who fought for their country and their rights. It seems to me, however, that Cornwallis's position was a false one; and to assert, as Balfour asserted, that South Carolina was completely conquered in 1780, was to assert what was not true. Rawdon sailed for home soon after this affair. He was captured by the French, and did not reach London until after Yorktown. He was immediately assailed in the House of Peers by the Duke of Richmond for his share in this business. In reply he challenged the noble duke, and the upshot was that Richmond apologized.[1130] Many years later, Lee sent Rawdon a copy of his Memoirs, in which Hayne is warmly defended. Rawdon, then Earl of Moira, wrote a long letter (June 24, 1813) in reply, but his defence does not appear to be sound.[1131] It should be said, in justification of the light in which Hayne was regarded by the British officers at the time, that they believed he had taken a second oath to the king just before his capture in arms; but this does not appear to have been the case.[1132]
The most aggravated case of murder on the American side was the shooting of the Tory Col. Grierson after his surrender, near Augusta. The murder was committed in broad day, yet Pickens declared that the murderer was not known.[1133]
King's Mountain.—There is very little original material in print bearing on Clarke's siege of Augusta. McCall's narrative (Georgia, ii. 321) has been very generally followed. An anonymous account from a British source is in the Remembrancer, xi. 28.
Lyman C. Draper,[1134] in his King's Mountain and its Heroes, gives nearly all the important documents relating to that action. Unfortunately, as its title indicates, there is too much hero worship[1135] in the volume, and Draper's own account is based too largely on tradition to be wholly trustworthy, and is too diffuse and intricate. As a repository of documents, however, the volume is of the first importance. I shall attempt only a summary of the documents bearing on the movement.
Shelby wrote to his father five days after the fight (Draper, 302), and later, on October 26th, to Col. Arthur Campbell (Draper, 524). The statements in the first letter as to losses, etc., are strangely at variance with those contained in an official report signed by Campbell, Shelby, and Cleveland on October 20th.[1136] Col. William Campbell also wrote to Arthur Campbell on the same day (Draper, 526; Gibbes, p. 140, and elsewhere). Draper gives several other accounts, the most important being "Battle of King's Mountain", probably written by Robert Campbell, "an ensign in Dysart's corps" (Draper, 537, from MS. in possession of the Tenn. Hist. Soc.). Gen. Joseph Graham, who had no part in the fight, being still confined in the hospital from the wound received at the defence of Charlotte, wrote a description.[1137] David Campbell, in a letter (Foote's Sketches of Virginia, 2d series, p. 126) dated Montcalm, Dec. 1, 1851,[1138] defended his ancestor. Still other accounts are in Draper, many of them reprints; and a letter from Iredell to his wife, dated Granville, Oct. 8, 1780 (McRee's Iredell, i. 463), should not be overlooked.
The most interesting description of the campaign from the British side is in the Diary of Anthony Allaire, of Ferguson's corps.[1139] The chronology is useful in fixing dates, and his narrative of his treatment while in captivity and during his successful attempt to escape is very interesting. He is also supposed to have been the author of a letter written by "an officer from Charleston, Jan. 30", which is printed in Rivington's Royal Gazette of Feb. 14, 1781, and reprinted in Draper, 516.[1140]
There are two interesting letters from Rawdon,[536] showing the extent of the disaffection to the royalist cause in the Carolinas.[1141]
Cornwallis seems to have presented no detailed report; at least, none has been printed, to my knowledge. There are allusions to the affair which show how deeply he was impressed by the coming of the men from beyond the mountains. The effect it had upon the plans of the British can be learned from a letter from Germain to Clinton, dated Jan. 3, 1781, in which he regrets that Ferguson's defeat compelled Cornwallis to require Leslie to quit the Chesapeake.[1142]
There is also an anonymous memoir of A Carolina Loyalist in the Revolutionary War in Chesney's Essays in Modern Military Biography (London, 1874, pp. 461-468), which contains something of interest.
[The latest contribution to the story of the parts played by John Sevier, Isaac Shelby, and James Robertson in helping to work the discomfiture of the British in the Southern colonies is the Rear Guard of the Revolution by Edmund Kirke [J. R. Gilmore], N. Y., 1886. The author says "his materials were principally gathered from old settlers in East Tennessee and Western North Carolina, one of whom was the son of a trusted friend of Sevier, Dr. J. G. M. Ramsey of Knoxville, the author of the Annals of Tennessee, who in his youth had known Sevier and Robertson, and who was nearly ninety years old when he was questioned by Gilmore."—Ed.]
Minor Actions, 1780.—The library of the Massachusetts Historical Society contains an original account of Weemys's unfortunate night attack on Sumter's camp at Fishdam Ford, from the pen of the British commander. It should not be followed too closely, as it was not written until many years of peace and poverty had clouded Weemys's judgment and memory. A more trustworthy description is in a letter from Sumter to Smallwood, written on the field of battle, Nov. 9, 1780 (Maryland Papers, p. 122). It is to be regretted that no letter of his relating to the affair at the Blackstocks has been preserved; for the British accounts are very confusing, Tarleton even claiming the victory (Campaigns, p. 178). This he did on the strength of a despatch from Cornwallis to Clinton, dated at Wynnesborough, Dec. 3, 1781.[1143] This, in its turn, as Mackenzie points out (Strictures, p. 71), was based—so far as it relates to the affair at the Blackstocks—on Tarleton's own report. In fact, Tarleton was beaten at that time. Mackenzie does not seem to have been present in person, but his account was based on the declarations of witnesses. It is the best description of the fight that we have, and has been followed by later writers, notably by Stedman (ii. 226-231). The only account that we have from an American source was written by Col. Samuel Hammond, who was present, as he was at the Cowpens (Johnson's Traditions, pp. 507, 522). It should not be too closely followed. There[537] are a few reports and letters written by Cornwallis, and by Rawdon during his chief's illness, relating to this period, that should not be overlooked.[1144]
Greene's Campaign in General.—The standard authorities relating to Greene's campaign have already been mentioned.[1145] Lee was Greene's most trusted adviser, but there were others also deep in his confidence, such as Morgan, O. H. Williams,[1146] William Washington,[1147] Carrington,[1148] Howard,[1149] and W. R. Davie.[1150] Greene also utilized the services of the partisans Marion, Sumter, Pickens, and the rest. There is a noted passage bearing on the proper method of treating these men in one of Greene's letters to Morgan before the affair at the Cowpens. It seems that Morgan had complained of Sumter's order to his subordinates to obey no commands unless conveyed through him. Greene replied to Morgan: "As it is better to conciliate than aggravate matters, where everything depends so much upon voluntary principles, I wish you to take no notice of the matter, but endeavor to influence his conduct to give you all the aid in his power." It was by pursuing such a course that Greene secured the coöperation of all men in the South.
A good knowledge of the scene of operations is indispensable to a thorough understanding of Greene's remarkable campaigns. The general direction of the rivers should be especially noted, as upon it the success of a particular movement often turned.[1151]
The Cowpens.—Morgan's official report (Jan. 19) to Greene and Greene's instructions to Morgan (Charlotte, December 16, 1780) are in Graham, pp. 260, 467, while from that point and date the whole campaign can be traced by the letters printed by Graham.[1152]
A letter from Tarleton to Morgan dated on the 19th, two days after the battle, and relating to prisoners and wounded, is in The Charleston News and Courier. I have nowhere found a formal report by Tarleton. His description of the fight, at the time, is undoubtedly embodied in Cornwallis's report to Germain, dated Turkey Creek, Broad River, Jan. 18, 1781.[1153]
At a later day Tarleton wrote out an account (Campaigns, pp. 213-223). Seldom has a commander written a more unfair account of his defeat. Not merely that he is unjust to Morgan, but he is also very unjust to his own men. A much better description, by a British eye-witness, is Mackenzie's (Strictures, 95, followed by Stedman, Amer. War, ii. 316-325). Indeed, this last is in some respects the best account that we have. A narrative from "Colonel Samuel Hammond" (Johnson's Traditions, pp. 526-530) is not trustworthy.[1154]
The Retreat.—Our knowledge of the[539] period from the Cowpens to the crossing of the Dan is based to a great extent upon the letters of the American leaders.[1155]
Cornwallis made a formal report to Germain, dated Guilford, March 17, 1781.[1156] Balfour in an independent report to Clinton (Remembrancer, xi. 330, and Polit. Mag., ii. 328), gave a somewhat similar account of the operations; but the most important document that has yet been printed is Cornwallis's Order-book, covering this period. It opens with an order of January 18, 1781, and runs with scarcely a break to March 20th. It was used by Graham in his preparation of the Life of Morgan, but was not generally accessible until some years later, when Caruthers printed it as the appendix to the second volume of his Incidents. Caruthers' own account of the movement (Incidents, pp. 13-67), although weighted with personal reminiscences, is still the best single narrative.[1157]
Tarleton's description (Campaigns, 222) of the march is far from satisfactory, and should be supplemented by that of the less partial Stedman (Amer. War, ii. 325) and Gordon (iv. 37).[1158]
The only action of this retreat that deserves special mention is the very gallant charge of the Guards at Cowan's Ford over the Catawba. It was especially creditable to the Grenadiers, and has received far less attention at the hands of American writers than it deserves. A good account is in Hamilton's Grenadier Guards, ii. 243,[1159] and Stedman has devoted considerable space to it. On the other hand, it should be said that the description in Tarleton cannot be reconciled with known facts, and deserves no credit.
The Guilford Campaign.—Lee's description of the overthrow of Pyle and his companions has been generally followed by historians.[540] It is not entirely satisfactory (Memoirs, i. 306).[1160] Lee says that the action was begun by the Tories, and that he acted merely on the defensive. General Joseph Graham, who was on the field as a captain of militia, asserts the contrary.[1161]
GUILDFORD, March 15, 1781.
Sketched from Faden's map (March 1, 1787), which is the same as the map in Tarleton (p. 108), with the same date, and in Stedman, ii. 342, with slight changes, dated Jan. 20, 1794. It is followed in the maps in Mag. of Amer. Hist. (1881), p. 44; in R. E. Lee's Lee's Memoir, etc., p. 276; in Caruthers' Incidents (Philadelphia, 1808), p. 108; in Lossing's Field-Book, ii. 608. There are among the Faden maps (nos. 52, 53) in the library of Congress two MS. drafts of the battle,—one showing the changes in the position of the forces. Johnson (Greene, ii. 5) gives five different stages of the fight, and G. W. Greene (iii. 176) copies them. His lines vary from the descriptions of Cornwallis. Cf. Carrington's Battles, p. 565; Hamilton's Grenadier Guards (ii. 245); Harper's Monthly, xv. 162, etc.—Ed.
As to the other operations leading up to the[541] final action at Guilford Court-House, and as to that combat itself, the reports and other letters of the opposing commanders, Greene[1162] and Cornwallis,[1163] are all that can he desired.
The narratives of Lee (Memoirs, i. 338-376) and Tarleton (Campaigns, 269) are interesting, though neither saw much of the battle,—Tarleton being in reserve, and Lee's attention being fully occupied by the regiment of Bose. Wounds received at the Cowpens unfortunately prevented Mackenzie from speaking with authority of Tarleton's account of this battle.[1164]
The best account by a later writer is that in Caruthers (Incidents, 2d series, pp. 103-180); but, like all North Carolinians, he endeavors to excuse the early flight of the militia of that State, and his narrative is too largely founded on tradition.[1165]
Hobkirk's Hill.—The official reports serve us first: Greene's, full and precise,[1166] on the American side; and on the British, Rawdon's and those of the intermediate officers, till the accounts reached Germain.[1167]
Col. O. H. Williams also wrote an interesting account of the fight in a letter to "Elie" (his wife), dated Camp before Camden, April 27, 1781 (Potter's American Monthly, iv. 101, and Tiffany's Williams, p. 19). Still another of Greene's officers—Major William Pierce—in a letter (August 20) devoted considerable space to this indecisive engagement (Mag. Amer. Hist., vii. 431-435). A somewhat different description by a looker-on was written many years afterwards by Samuel Matthis, an inhabitant of the district. It is entitled: Account of the battle of Hobkirk's Hill as some call it, or Battle of Camden as called by others, tho' the ground on which it was fought is now (1810) called the Big Sand Hill above Camden (American Historical Record, ii. 103).
From the Political Magazine (vol. ii p. 117).
There is a chart of Cape Fear River, 1776, in the No. Amer. Pilot, no. 28.—Ed.
Whether Greene was or was not surprised is the only point about which there has been much dispute in recent years. Johnson (Greene, ii. 72) has effectually disposed of this question in Greene's favor; but it must be admitted that he was "very suddenly attacked", to use the words of Lee, who was not present at the battle, and who seems to have forgotten the exact relation of events of this campaign. The account of this affair in the lives of Greene by Johnson and Greene (iii. 241), as well as that in Marshall's Washington (iv. 510), is based upon an unpublished narrative by Colonel Davie, which is among the "Greene MSS."[1168]
HOBKIRK'S HILL.
(Sometimes called the Second Battle of Camden.)
Sketch of the battle of Hobkirk's Hill, near Camden, on the 25th April, 1781, drawn by C. Vallancey, Capt. of the Vols. of Ireland. [The cross-swords show] where the enemy's piquets were attacked. Faden, Aug. 1, 1783. It is the same plate, with slight changes, used in Stedman (ii. 358), where it is dated Feb. 6, 1794. It is reëngraved in R. E. Lee's ed. of Henry Lee's Memoirs of the War, p. 336. Johnson's plan (Greene, ii. 76) is reproduced in G. W. Greene's Greene, iii. 241. Carrington (p. 576) gives an eclectic plan, and there is a small plan in Lossing's Field-Book, ii. 679.—Ed.
The Capture of the Posts.—For the account of the capture of Fort Watson, Marion's report (April 23) to Greene has been the main reliance (Simms, Marion, p. 231; Pol. Mag., ii. 548; Remembrancer, xii. 127, etc.). Lee's narrative of this period (Memoirs, ii. 50) is detailed, but it was written too long after the war to be accurate. This is unfortunate, as we have no other account of the taking of Fort Motte (Memoirs, ii. 73) by an on-looker, unless we accept the letter sent by Greene to Congress as an original source. It is not known when Greene arrived at Fort Motte, which was at some time before the surrender.[1169]
At this time Marion became discouraged, and wrote to Greene that he contemplated retiring. These letters are in Gibbes, p. 67-69. Rawdon presented a report covering this period.[1170]
The siege of Augusta was much better chronicled, as with it McCall (Georgia, ii. 321) again becomes useful.[1171] Another description, though from what source is not stated, is in Johnson's Traditions, 354. Lee's account is in his Memoirs, ii. 81-95 and 100-118. The first part refers more especially to the capture of Fort Granby and of Fort Galphin, an outpost of Augusta. The official correspondence between Lee and Pickens on one side and Brown on the other has been printed over and over again.[1172]
Siege of Ninety-Six.—Cruger[1173] presented no formal report of his defence—so far as I know; but there is a good account of the siege in Mackenzie's Strictures, pp. 139-164, written by Lieutenant Hatton, of the New Jersey Loyalist Volunteers: cf. p. 129. Mackenzie himself is very severe on Tarleton's account (Campaigns, 495). Greene's very meagre report is dated Little River, June 20, 1781 (Caldwell's Greene; Pol. Mag., Tarleton, 498, etc.).[1174]
Rawdon's report of his successful attempt to relieve the garrison is in Remembrancer, xv. 9.[1175]
Neither Greene nor Lee (Memoirs, ii. 119) intimate that the stockaded fort was abandoned before Lee's assault, though the English authorities assert it. Nor does Greene allude to the gallant sally of the defenders of the "Star",[545] which compelled the assailants to retire from the ditch, with great loss to themselves.[1176]
Eutaws.—I should place first Greene's official report, though it is not as full as could be desired.[1177]
Williams has left two accounts: the first is a letter, dated Fort Motte, Sept., 1781 (Tiffany's Williams, p. 22). The important paper, however, is entitled: Account furnished by Colonel Otho Williams, with additions by Cols. W. Hampton, Polk, Howard, and Watt (when written is not stated), in Gibbes (pp. 144-157). It is a long and detailed description of the battle by men who actually took part, but as it may have been written long after the event, too much reliance should not be placed upon it. Still another description of the campaign, though not of the battle, is contained in two letters from Major William Pierce to St. George Tucker (Mag. Amer. Hist., vii. 435). Lieutenant-Colonel Stuart presented a report to Cornwallis, which has been widely reprinted.[1178]
It differs from the American accounts in many particulars, especially as to the disorganization of his own troops, which very likely has been described in too glowing colors by American writers. Lee was present at the battle, but his description (Memoirs, ii. 276-301) of the contest is sometimes hard to reconcile with the accounts of his fellow-soldiers. Greene, according to Williams, was hardly satisfied with the conduct of that partisan leader, and Lee soon after retired from the army, ostensibly for other reasons. Neither Johnson (Greene, ii. 219) nor G. W. Greene (Greene, iii. 384) have added much to our knowledge of this action, and the same may be said of the other writers on the war.[1179]
Greene's Later Campaigns.—There are many letters of this period in the third volume of Sparks's Correspondence of the Revolution, and in Gibbes's Documentary History (1781-1782). Many of those in the latter are of merely local interest, a large number of them relating more especially to a quarrel between Horry and Mahem, Marion's two subordinates. Lee, too, after his return from Yorktown became discontented, and many letters which passed between him and his commander are printed by Gibbes. Much of Lee's uneasiness was doubtless due to the prominence which Greene awarded to Laurens. Leslie's letter proposing a cessation of hostilities was enclosed by Greene in a letter to the President of Congress (Remembrancer, xiv. 324). A truce not being acceded to, he demanded provisions (Remembrancer, xv. 28). This too being refused, he endeavored to seize them. One of the expeditions resulted in the death of Laurens.[1180] Gist made a report of this action, and there is a note from Greene to Washington.[1181] Benjamin Thomson,—afterwards Count Rumford,—at this time lieutenant-colonel in a regiment stationed near[546] Charleston, wrote many letters in Jan., 1782, which have been printed by the Royal Commission on Hist. MSS. in their Ninth Report, Appendix, iii. p. 118.[1182]
An account of the march of the reinforcements sent south under St. Clair is in Harmer's Journal, while the "Journal" of Major Denny in Penna. Hist. Soc. Memoirs, vii. pp. 249 et seq., contains much of interest relating to the operations around Charleston.[1183] Mention should also be made of a series of letters from Major Pierce to St. George Tucker, bearing on this period, in Mag. Am. Hist. (1881), pp. 431-445, while there is an original account by Seymour in Penna. Mag., vii. 377. A British narrative of the same operations is in Political Mag., iv. 36-44.[1184]
There are several descriptions of the triumphant entry of the Americans into Charleston on the 14th of December, 1782; that by Horry in Charleston Year Book (1883) is perhaps the best.[1185] Of the contemporary historians, Gordon (vol. iv. 173-177, 298-305) has given the best account of this time.[1186] In the library of the Mass. Hist. Soc. there is a manuscript giving details of the emigration at the evacuations of Savannah and Charleston.[1187] It appears from this that no less than 13,271 of the former inhabitants of those States, including 8,676 blacks, left with the British army when it finally retired from the South.
The British in Virginia, 1779 and 1780.—Besides the documents mentioned in the Virginia Calendar of State Papers, there are full and detailed accounts by Mathews and Collier of their doings at Portsmouth and Suffolk.[1188] There is some account also of the naval portion of this expedition in Town's Detail of Some Particular Services performed in America, compiled from journals ... kept aboard the Ship Rainbow, New York, 1835, pp. 77-88.[1189]
Clinton's instructions to Leslie are in Clinton's Observations on Cornwallis, App., pp. 25, 27. There is little else bearing on this movement except a few letters from Steuben in Historical Mag., iv. 301, and Corres. of the Rev., iii. 203.[1190]
Arnold and Phillips in Virginia, 1781.—With regard to the first part of Arnold's raid into Virginia, we have several letters from him to Clinton.[1191] On the American side there are many interesting letters in the Maryland Papers (134-144), and in Muhlenberg's Muhlenberg, 404,[547] etc. See also Ibid. 216-253, for a description of Gen. Muhlenberg's share in resisting these incursions. Steuben, as Greene's lieutenant, had the chief command in Virginia at the time, and Kapp in his Steuben (Amer. ed., p. 371 et seq.) has not failed to give him full credit for his courageous endeavors.[1192]
Lafayette and Cornwallis in Virginia.—Lafayette, during his campaign against Phillips, and afterwards against Cornwallis, was considered as under the command of Greene. He reported to Greene, and his reports may be found in the Remembrancer, (vol. xii.).[1193] He also kept up an incessant correspondence with Washington, and Sparks's Corres. of the Rev.[1194] should therefore be compared with the papers in Lafayette's Memoirs.[1195] A few reports and letters from Cornwallis at this time will be found in his Correspondence (i. 105 et seq.). Tarleton (Campaigns, 279) gives a good account of the march from Guilford to Wilmington and thence to Petersburg, from his point of view. Gen. Graham was at that time a captain in the 76th regiment, which, with the 80th, bore the brunt of the action at the crossing of the James. The account of the affair in his Memoirs (pp. 53-55) is one of the best we have. Simcoe, in his Journal (ed. 1787, pp. 146-177; Am. ed., pp. 209-250), has given a detailed description of the campaign. He has exaggerated his own services, but has atoned, in part, for this by giving a set of good plans of the rencounters which he tried to dignify into battles.[1196] Giradin (Continuation of Burk, iv. 490) has given the Jeffersonian version of the period.[1197]
This gallant struggle of Lafayette against great odds was very creditable to him and to his soldiers; but it had little or no influence on the final result. Nevertheless, it has attracted the attention of recent writers, and has brought out two good articles: one from the pen of Carrington (Mag. Am. Hist., vi. 340, with map), the other from a less known writer, Mr. Coleman (Ibid. vii. 201).[1198]
The Yorktown Campaign.—Clinton and Cornwallis, in their pamphlets on the conduct of the campaign, printed most of the important documents which passed between them and their superiors and subordinates. Others will be found in the documents printed by order of the Lords, and still others in the biographies of the different commanders. I shall point out only the most important. In a letter (Wilmington, April 18, 1781) Cornwallis explained the reasons for the Guilford campaign, gave an account of his later movements, and advocated a march into Virginia. On the 24th he wrote to Phillips that his situation at Wilmington was very distressing (Parl. Reg., xxv. 155, etc.). On the preceding day he had announced his determination to Germain to go north (Parl. Reg., xxv. 145; extracts in numerous places, among others in Tarleton, 325). But more valuable than these are two letters to Clinton written April 24th (Parl. Reg., xxv. 156; extracts in Cornwallis's Correspondence, i. 94; Cornwallis's Answer, p. 55; and in many other places). Clinton disapproved this movement from the outset. (Cf. letter, May 29th, in Clinton's Observations on Cornwallis, App. p. 99.) Cornwallis tried to[548] justify his conduct in a letter dated Portsmouth, July 24th (Parl. Reg., xxv. 207, etc.). On the other hand, Germain was "well pleased to find Cornwallis's opinion entirely coincided" with his (Parl. Reg., xxv. 135). Cornwallis therefore went north without any misgivings.[1199]
DE GRASSE'S VICTORY.
A contemporary type-sketch from the London Magazine. The Political Mag., 1784, p. 20, has a folding plan. The most detailed plan is in Stedman (ii. ch. 44), The position of the English and French fleets immediately previous to the Action on the 5th of Sept., 1781, which is reproduced in Mag. of Amer. Hist., Nov., 1881, p. 367. For the operations in and about the bay, see Carrington's plan in his Battles, p. 596. Contemporary charts of the bay are in the No. Amer. Pilot, nos. 26 and 27; the Neptune Americo-Septentrional, no. 20; and Des Barres's Atlantic Neptune. Graves's despatch on his failure, dated at sea, Sept. 14, is in the Political Mag., ii. 605, with other accounts (p. 620); with further explanations from Clinton and Graves (p. 668). Cf. Ibid. iii. 153. John G. Shea edited in 1864 two contemporary journals as Operations of the French Fleet, etc., with a plan. One of these journals was printed at Amsterdam in 1783 (Murphy Catal., no. 1,386). Cf. Stedman, ii. ch. 44; Chevalier's Hist. de la marine française (Paris, 1877), ch. vii.; Léon Chotteau's Les Français en Amérique, p. 248; Moore's Diary, ii. 476.—Ed.
On June 11th Clinton ordered Cornwallis to seek some defensive position (Parl. Reg., xxv. 160). Four days later he wrote that he should need some of Cornwallis's troops (Parl. Reg., xxv. 175, and Cornwallis's Answer, App. p. 112). This request he repeated on the 19th, and again on the 26th (Parl. Reg., xxv. 177, and Germain Corresp., 187). In this last he announced his purpose of marching on Philadelphia. On the 30th Cornwallis wrote one or two letters questioning the utility of the defensive post he was ordered to occupy (Parl. Reg., xxv. 169, and at greater length in Cornwallis's Answer, App. p. 118). In another letter, dated July 8th, he again questioned the utility of a defensive post. Clinton on his part, in two letters of July 8th and 11th, censured the Virginia commander for repassing the James, and ordered him to occupy Old Point Comfort (Parl. Reg., xxv. 171). Again, in another letter of the same date as the second of these, he reiterates his order to fortify a station in the Chesapeake for the protection of large ships. Admiral Graves also wrote to Cornwallis, urging him to seize and fortify Old Point Comfort (Cornwallis's Answer, App. p. 180). A board of officers was now sent to report on the practicability of holding Old Point Comfort as a station for line-of-battle ships. They reported (Parl. Reg., xxv. 182) that the proposed site was not suitable, and this decision Cornwallis communicated to Graves (Aug. 26th, in the App. to his Answer). He also wrote to Clinton on the next day somewhat bitterly in regard to his criticisms and orders[549] (Corn. Corresp., i. 107). Thinking that his orders required him to fortify Yorktown, he repaired thither, though writing to O'Hara that the position was a bad one on account of the heat, etc. (Corn. Corresp., i. III.). Clinton also wrote three letters at about this time, which Cornwallis did not receive until after his surrender. The first and important one is in Parl. Reg., xxv. 182, while all three are in the Appendix to Cornwallis's Answer, pp. 237, 251, 257. Such are the most important documents bearing on the responsibility[1200] for the disaster at Yorktown.
Cornwallis's official report to Clinton (Yorktown, Oct. 20, 1781) was forwarded by Clinton to Germain on Nov. 15, 1781.[1201] The two commanders kept up a constant correspondence during the siege, and from their letters the details may be gathered. These are all printed in the Appendix to the Parliamentary Register and in numerous other places.
As soon as it was known at New York that Cornwallis was besieged by such superior numbers, every effort was made to relieve him.[1202] The fleet had been so badly cut up during the recent encounter with De Grasse that Graves refused to venture again to sea before extensive repairs had been completed. Consequently, when the relieving fleet arrived off the capes of the Chesapeake the capitulation of Yorktown had been signed. The letters and reports relating to this abortive endeavor will be found in the Parl. Reg., xxv. pp. 190-200. There seems to be no reason to blame Clinton or Graves for this delay.[1203]
The correspondence between the opposing commanders as to the surrender has been often printed, as have the articles.[1204] As late as Oct. 19th Clinton wrote to some one in England giving an account of the operations leading to the siege.[1205] On Oct. 29th Clinton wrote to Germain the first official news concerning the surrender. This letter (London Gazette, Nov. 24-27, 1781, and Remembrancer, xiii. 33) is marked as received on Nov. 27th; but Wraxall, in a well-known passage, says that the first official news of the surrender was received on the 25th.[1206]
The Ninth Rep. of the Hist. MSS. Commission (App. iii. pp. 112-114) contains four letters from "G. Damer" to Lord George Germain, relating to the Virginia campaigns from Phillips's expedition to the end. These letters are of exceeding value and interest. They bear out the assertion so often made in the preceding narrative as to the great want of harmony which prevailed in the higher ranks of the British forces in this country.
Washington's official report[1207] announcing the surrender (Remembrancer, xiii. 60, and innumerable other places) is of far less importance than his order-book and his journal (May to Nov., 1781), which last is in the State Department at Washington (T. F. Dwight in Mag. Am. Hist., vi. 81). The portion on this campaign is in Ibid. (vol. vi. pp. 108-125; vii. 122-133).
YORKTOWN CAMPAIGN.
From the Political Mag., ii. 624, being the westerly half of the map there given, originally published in London, Nov. 30, 1781, by J. Bew. Faden published in 1781 A Plan of the Entrance of Chesapeake Bay, with James and York Rivers, by an officer, which shows the condition in the beginning of October.—Ed.
SIEGE OF YORKTOWN, 1781. (Ramsay.)
Note on the Maps of the Yorktown Campaign.—There is among the Rochambeau maps the original sketch, done with a pen and a wash, 40×12 inches, showing the different encampments of the French army between Boston and Yorktown, which is etched in Soulés' Histoire des Troubles de l'Amérique Anglaise, and reproduced in Balch's Les Français en Amérique, and in Mag. of Amer. Hist., v. p. 1, and vii. pp. 8, 12, 17.
The route of the allies from Chatham to Head of Elk, by Lieutenant Hills, a British map, is in Mag. of Amer. Hist., v. 16. Cf., for a general view, Harper's Mag., lxiii. p. 328. The best account of this march and the return to Boston is by J. A. Stevens in Mag. Amer. Hist., iii. 393; iv. 1; v. 1; vii. 1.
The earliest American map of the siege is one by Sebastian Bauman, an officer of German extraction attached to Lamb's artillery, whose draft was engraved in Philadelphia in 1782. There are copies in the N. Y. and Penna. Hist. Societies, and, reduced one half, it is given in the Mag. of Amer. Hist. (vol. vi. 57), and it is also in Johnston's Yorktown, p. 198. There is among the Rochambeau maps in the library of Congress (no. 63) a Plan of the investment of York and Gloucester by Sebastian Bauman; the French in yellow, the Americans in blue, and the English in red.
The earliest American maps issued to accompany narratives were Ramsay's in his Rev. in So. Carolina, ii. 545 (reproduced herewith, and followed in Harper's Mag., lxiii. 333, and Lowell's Hessians, 278); Gordon's, in his vol. iv. 196, also follows Bauman; Marshall's, in his Atlas to his Washington (reproduced herewith). Later published are the maps in Sparks's Washington, viii. 186; in Atlas to Guizot's Washington; in Irving's Washington, quarto ed., iv. 356; E. M. Stone's Our French Allies, 424; Carrington's Battles, 646; Lossing's Field-Book, ii. 518; Ridpath's United States; J. A. Stevens's Yorktown Centennial Handbook; Johnston's Yorktown (pp. 133, 144).
The leading British map of the siege is A Plan of Yorktown and Gloucester ... from an actual survey in the possession of Jno. Hills, late lieut. in the 23d Regiment (Faden, London, Oct. 7, 1785). There is another dated March 1, 1787, and, though a different plate, it corresponds nearly to the one in Stedman, ii. 412, which is reproduced in the Mag. of Amer. Hist., vi. p. 8; Tarleton's Campaigns, ch. vii.; R. E. Lee's ed. of Henry Lee's Memoirs, etc., p. 300; Hamilton, Repub. of the U. S., ii. 263. Other early English maps are: A Plan of the Posts of York and Gloucester in the Province of Virginia, established by his Majesty's Army, etc., which terminated in the Surrender ... on the 17th Oct., 1781. Surveyed by Capt. Fage of the Royal Artillery, which contains a small plan showing the position of the army between the ravines. What appears to be an original map is the Plan of York Town shewing the Batteries and Approaches of the French and Americans, 1781, on p. 61 of the Memoir of General Graham. A large map in colors is: Plan of York Town in Virginia and adjacent country exhibiting the operations of the American, French, and English armies during the siege of that place in Oct. 1781, by J. F. Renault. Leake's Lamb, p. 278, contains a fair map, with contours shown, although incorrectly.
There are MS. maps of the siege in the British Museum. Other MS. maps of Yorktown and the neighboring waters, including the drawn plan made for Faden's engraved map, are among the Faden maps (nos. 90, 91, 92) in the library of Congress.
There are among the Rochambeau maps in the library of Congress several illustrating the siege of Yorktown and attendant movements in Virginia:—
No. 50, Carte des environs d'Hampton, 1781, measuring 36 x 24 inches, and colored faintly.
No. 52, a pen-and-ink Plan de Portsmouth, Va., 15 x 12 inches.
No. 53, Plan des ouvrages de Portsmouth en Virginie, colored, 15 x 12 inches.
No. 54, Carte detaillé de West Point sur la rivière de York au confluent des rivières de Pamunky et Matapony, a colored sketch.
No. 55, a pen-and-ink sketch, Batteries de West Point de la rivière York, 15 x 12 inches.
No. 56, a pen-and-ink sketch, Plan des environs de Williamsburg, York, Hampton and Portsmouth, measuring 12 x 12 inches.
No. 57, a colored plan, 3 x 4 inches, showing the French army in camp, Sept., 1781, called Carte des environs de Williamsburg en Virginie.
No. 58, Plan d'York en Virginie, avec les attaques faits par les armées français et Américain en Oct. 1781, a colored sketch.
No. 59, Siége d'York, 1781, a colored plan, 23 x 24 inches.
No. 60, Plan des ouvrages faits à Yorktown en Virginie, a tracing, 24 x 20 inches.
No. 61, a sketch in ink and water-colors, with an elaborate key, Notes sur les environs de York, 24 x 12 inches.
Balch refers to a MS. map by Soulés, preserved in the Archives de la Guerre at Paris, and another attached to the MS. Journal de mon séjour en Amérique, which he attributes to Cromot-Dubourg. Soulés' map, Plan d'York en Virginie avec les attaques et les campemens de l'Armée combiné de France et d'Amérique, is given in his Troubles, etc., vol. iv., reduced in Mag. of Amer. Hist. (June, 1880).
Another published French map is a Plan de l'armée de Cornwallis, attaquée et faitte prisoniere dans Yorktown, le 19 8bre par l'armée combinée Française et Américaine. Dessiné sur les lieux par les Ingenieurs de l'armée à Paris. Chez Le Rouge, Xbre, 1781. Another good French map has no clew to its authorship except the words "M. fecit." It is entitled Plan de l'Attaque des villes de Yorck et Gloucester dans lesquelles etoit fortifié le Général Cornwallis fait prisonnier le 19 Octobre, 1781 (a copy in Harvard College library). Two anonymous French maps are: Plan d'York en Virginia avec les attaques et les Campemens de l'armée de France et de l'Amérique (fac-simile in Mag. of Amer. Hist., 1880, p. 440), and Carte de la partie de la Virginie ... avec le plan de l'Attaque d'Yorktown et de Gloucester. There is also a Paris map of Virginia, published by Esnauts and Rapilly, giving the Baie de Chesapeake avec plan de l'attaque.
There is a German map by Sotzman.
All these maps were based on more or less imperfect surveys. A map giving correct topography, Yorktown, Virginia, and the Ground Occupied in the Siege of 1781; a topographical survey by direction of Brev.-Maj.-Gen. G. W. Getty, U. S. A., commanding Artillery School, Fort Monroe, 1880, was drawn by Lieut. Caziare. A reduced fac-simile is given in Mag. of Amer. Hist. (vii. 408,—described, p. 339). Caziare also drew the plan, embodying the lines of Faden and Renault, which is given in Patton's Yorktown, p. 34, and Mag. of Amer. Hist., vii. 288. A section of another and earlier government survey, by Major Kearney, showing the roads as they were in 1818, is in Johnston's Yorktown, p. 103. Cf. his list of maps in Ibid., p. 198.—Ed.
YORKTOWN, 1781. (Marshall's Washington.)
Portions of his orderly-books, extending, with breaks, from June 19, 1781, to April 30, 1782, were printed in the Amer. Hist. Record (iii.; on the siege itself, pp. 403, 457-462). The orderly-books were reprinted at Philadelphia in 1865,[1208] while two orders of Sept. 15th and 25th, not included, are in the Penna. Hist. Mag. (1881), and in Johnston's Yorktown, 199. Many other[554] important journals and orderly-books on the American side are preserved.[1209]
On the French side we have several contemporary accounts. First of all I should place an anonymous journal which has been attributed to Rochambeau.[1210] The Diary of a French Officer, 1781 (March 26 to Nov. 18, 1781), presumed to be the work of Baron Cromot-Dubourg, an aide to Rochambeau, was brought to light by Mr. Balch (Mag. Am. Hist., vii. 295), and is printed in Ibid. iv. 205, from an unpublished MS. then in the possession of Mr. C. Fiske Harris,[1211] of Providence, R. I.[1212] In some respects this is the most valuable paper of this class that we have. Still another important diary is the Journal of Claude Blanchard, Commissary of the French Auxiliary Army sent to the United States during the American Revolution, 1780-1783. Translated from the French MS. by William Duane, and edited by Thomas Balch (Albany, 1876, pp. 92-184 especially including the march back to Boston).[1213]
In 1879 Mr. J. A. Stevens printed in the Mag. of Amer. Hist. a series of letters from Count Fersen to his father, occasionally inclosing a bit of journal, a great deal of which relates to the operations before and after Yorktown, and it is in all respects a very valuable contribution. The greater part of Deux-Pont's Campaigns[1214] relates to this period, while the Journal of an Officer (pp. 148-164) and portions of the diaries kept by the naval officers refer to the same campaign.
The French accounts of the assaults on the[555] redoubts are in the above. Hamilton's report to Lafayette is in Remembrancer, xiii. 61, while Lafayette's report to Washington is in Corresp. of the Rev., iii. 425.[1215]
There are good accounts of this campaign in the standard books.[1216] Of the more recent works, Henry P. Johnston's Yorktown[1217] stands first, though it was written with an evident bias. J. H. Patton[1218] also produced a small volume. Giradin's Continuation of Burk (iv. 519) contains a one-sided description; and the lives of any of the Revolutionary worthies[1219] devote a considerable space to the campaign. Among these is the Life of Muhlenberg by his son (268-276), in which an unfounded claim is advanced for the sire that he commanded the storming party led by Hamilton. The more popular books also have detailed accounts,[1220] while the subject has been repeatedly treated by orators, notably by Robert C. Winthrop.[1221]
EDITORIAL NOTES ON EVENTS IN THE NORTH, 1779-1781.
While the events followed in the preceding chapter were all tending, both by Washington's victory and Greene's defeats, to a discouragement of the English necessary to induce the British government to desire a peace, the succession of events in the North had hardly any interdependence, and of themselves conduced but little to the same end. The campaigns of Sullivan in 1778 and 1779, the dismal failure of the Massachusetts expedition to Penobscot in 1779, and the plot of Arnold, are considered in other chapters. A brief commentary upon the other transactions of this period here follows.[556] The spring of 1779 was not an encouraging one for the cause. Washington had kept his main army during the winter at Middlebrook (Irving, iii.; Greene's Greene, ii. 160), and he was now resolved on a defensive campaign (Bancroft, x. ch. 9). He gave his views to Congress (Sparks, vi. 158); but that body inspired little confidence. It did something to increase the efficiency of the army in creating an inspector-general (Journals, iii. 202); but its internal bickerings were sadly discouraging (Greene's Hist. View; Bancroft, x. 208; Greene's Greene, ii. 170, 175; John Adams's Works, i. 292). The legislators were powerless to regulate prices as they wished, and riots were in progress at their very doors (Reed's Reed, ii. ch. 6). They sent A circular letter to their constituents, and urged enlistments in an address (May 26th; Niles's Principles, etc., 1876, p. 405); while Gouverneur Morris prepared for them some Observations on the American Revolution, published according to a Resolution of Congress, by their Committee for the Consideration of those who are desirous of comparing the Conduct of the Opposed Parties, and the several Consequences which have flowed from it (Phila., 1779). (Cf. Sparks's Gouv. Morris, and the letter of Thomas Paine, Hist. Mag., i. 20.)
HESSIAN MAP OF THE HUDSON HIGHLANDS.
The British in New York were as inactive as Washington was. We get pictures of the life of the fortified[557] town in the Memoirs of the Baroness Riedesel; Duncan's Royal Artillery, ii. ch. 28; Montresor's account in N. Y. City Manual, 1870, p. 884,—also see that for 1863; Gen. Pattison's letters in N. Y. Hist. Soc. Coll., 1875; Memoirs of General Samuel Graham.
Heath was commanding east of the Hudson (Memoirs), and Gen. McDougall at West Point, which had been fortified the previous year (Sparks, v. 224, 282, 311; Ruttenber, Obstructions, 115; Lossing, Field-Book, ii. 132; Journal of Capt. Page in Essex Inst. Hist. Coll., iv., v.) There is among the Moses Greenleaf MSS. (Mass. Hist. Soc.) an orderly-book beginning at West Point, Jan. 1, 1779, and ending at Morristown, Dec. 12, 1779.
STONY POINT.
There is annexed a sketch from the Hessian Plan des opérations dans l'Amérique septentrionale depuis 12 Aoûst, 1776, jusqu'à 1779. The broken lines mark the roads. Cf. The Country west of the Hudson, occupied by the American army under Washington, from a MS. map drawn for Lord Stirling in 1779, given in Evans's Memoir of Kosciuszko (1883), etc.
Early in July (2d) there was an affair between Tarleton and Col. Sheldon at Poundridge in Westchester (Tarleton's Memoirs; Mag. Amer. Hist., iii. 685). Washington, as the season advanced, kept to the Highlands, and an attempt to draw him down was made by Clinton in dispatching Tryon with a marauding force to invade Connecticut by water. Tryon's instructions, July 2d, are in Charles H. Townshend's British Invasion of New Haven and Connecticut, with some account of the burning of Fairfield and Norwalk. They did not contemplate the destruction of houses; and Johnston, in his Observations on Judge Jones (p. 59), controverts that Tory chronicler who charged such intent upon Clinton. Cf. Hinman, Hist. Coll. of Conn., 607; Stuart's Jona. Trumbull, ch. 37; Chauncey Goodrich in New Haven Hist. Soc. Coll., ii. 27; Moore's Diary, ii. 180; Ithiel Town's Particular Services, etc., p. 90; Gen. Parsons's letters in Hildreth's Pioneer Settlers of Ohio, 537; Dawson, i. 507; Hist. Mag., ii. 88; Lossing, i. 424; Sparks, Corresp. of Rev. i. 315; Leonard Bacon's oration on the Centennial; and addresses of E. E. Rankin and Samuel Osgood in the Centennial Commemoration of the burning of Fairfield (New York, 1879). Cf. Mass. Hist. Soc. Coll., iii. 103; Diplom. Corresp., ii. 253; iii. 99.
There is an address of Admiral Collier and Gen. Tryon, July 4th, to the inhabitants of Connecticut. Tryon subsequently published an Address of Maj.-Gen. Tryon, written in consequence of his late expedition into Connecticut (Sabin, xiii. 53, 495). Trumbull feared another invasion in the autumn (Hist. Mag. ii. 10).
VERPLANCK'S POINT.
The posts at Stony Point and Verplanck's had been begun as outposts of West Point, and to protect King's Ferry, the crossing below the Highlands. Before the works were finished the British had captured them, in June (Sparks's Washington, vi. 292). Washington planned a surprise of the British garrison, and the two annexed sketches, furnished to him by Gen. Heath, seem to have been prepared in anticipation of the movement.
The first, "Stoney Point", is from a pen-and-ink sketch, indorsed "From Genl. Heath, letter 3d July, 1779", which is among the Sparks maps in Cornell University library, and carries the following Key: 1, the capital work on the highest part of the point, commanding the out-flêches, which is conformed to the broken eminence it is built on; 2, 3, 4, 5, flêches built on so many little eminences, each with one embrasure; but in the principal work (1) the number of embrasures is uncertain, being covered by the works and the declivity of the hill. Two rows of abatis (× × ×) cross the point from water to water. The other plan, marked "Verplanck's Point", is sketched from a pen-and-ink drawing in the same collection,[558] also indorsed "From Genl. Heath, letter 3d July, 1779", and bears this Key: 1, Fort de la Fayette, with block-house and barbette battery; 2, board huts in form of tents; 3, American barbette; 4, British tents, about one regiment; 5, 6, two new flêches by the Britons; 7, block-house on a stony hill, with a redoubt. The abatis is marked × × ×.
FADEN'S STONY POINT, 1779.
The lead of the movement was entrusted to Wayne. His instructions, in Washington's handwriting, are given in Dawson, in fac-simile (p. 18). His orders are dated July 15 (Niles, Principles, 1876, p. 495; Essex Inst. Hist. Coll., v. 7). Wayne's first report of his successful attack to Washington is given in fac-simile in Armstrong's Wayne, Dawson, and Lossing (ii. 179); and his longer account of the next day is in Sparks's Washington, vi. 537; and in Ibid. vi. 298, is Washington's report to Congress. H. B. Dawson's Assault on Stony Point (Morrisania, 1863) is an elaborate monograph. H. P. Johnston has a special paper in Harper's Monthly lix. 233 (July, 1879), and J. W. De Peyster another in the N. Y. Mail, July 15, 1879, while a controversy of Johnston and De Peyster is in the Monmouth Inquirer. "Who led the forlorn hope at Stony Point?" is discussed in the Penna. Mag. of Hist., Oct., 1885, p. 357. Cf. Armstrong's Wayne; Dawson's Battles; Moore's Diary, ii. 192; Penna. Archives, vii.; Marshall's Washington, iv. ch. 2; Irving's Washington, iii. 465; Hull's Rev. Services, ch. 16; Reed's Reed, ii. 110; Kapp's Steuben, ch. 11; Hamilton's Republic, i. 443; acc. of Col. Febiger in Mag. Amer. Hist., March, 1881; Duncan's Royal Artillery, 3d ed., ii. 353; Pattison in N. Y. Hist. Soc. Coll., 1875, p. 95; and Gen. Joseph Hawley's Centennial Address, July 16, 1879. The British later reoccupied the post (Sparks's Corresp. of Rev., ii. 328).
The chief map of the attack is a Plan of the Surprise of Stoney Point, 15 July, 1779, from surveys of Wm. Simpson, Lt. 17th Regt. and D. Campbell, Lt. 42d Regt., by John Hills, Lt. 23d Regt., London, Faden,[559] March 1, 1784. There is a fac-simile in the N. Y. Calendar of Hist. MSS., p. 347, and in Dawson. It needs the following Key: 1, Two companies of the 17th regiment. 2, Ditto. 3, Sixty of the loyal Americans. 4, Two grenadier companies of the 17th regiment. 5, A detachment of the royal artillery. A, Ruins of a block-house erected and destroyed by the Americans. B, A temporary magazine. C, One 24 and one 18 pounder, ship guns. D, Ditto. E, One iron 12-pounder. F, One 8-inch-howitzer. G, One brass 12-pounder. H, One short brass 12-pounder. I, One long brass 12-pounder. Cf. plans in Hull's Revolutionary Services, ch. 16; Sparks's Washington, vi. 304; Guizot's Washington, Atlas; Lossing's Field-Book, ii. 175. The medals given to Wayne, De Fleury, and Stewart are described in Loubat. (Cf. Lossing, ii. 180, 181.) A rude view of the capture in Bickerstaff's (Boston) Almanac, 1780, is reproduced in Mag. Amer. Hist., xvi. 592.
A few weeks later (Aug. 19), Major Henry Lee emulated Wayne in a sudden attack on Paulus Hook (Jersey City). We have reports on both sides. That of the British, General Pattison's, is in Duncan's Royal Artillery, ii. 355, and his letter to Townshend in N. Y. Hist. Coll., 1875, p. 79. On the American side we have accounts in Sparks's Washington, vi. 317, 326, 332-336, 376; Lowell (Hessians, 228) says that R. E. Lee's statement (in H. Lee's Memoirs) that Paulus Hook was captured by a stratagem is not borne out by Marshall (Washington, iv. 87) or by the German accounts (Ewald, ii. 295). Cf. Moore's Diary, ii. 206; Irving's Washington, iii. 475; Dawson's Battles; Quincy's Shaw, 65; Reed's Reed, ii. 125; Duer's Stirling, 204; Bancroft, x. 229; J. W. De Peyster in N. Y. Mail, Aug. 18, 1879; and S. A. Green in Hist. Mag., Dec., 1868 (2d ser., iv. 264). George H. Farrier prepared a Memorial of the centennial celebration of the battle of Paulus Hook, Aug. 19th, 1879 (Jersey City, 1879), which has an appendix of documents.
Loubat and Farrier give an account of the medal presented to Lee.
The annexed sketch, "Paulus Hook", is from a draft of an original Hessian map in the library at Cassel, furnished by Mr. Edward J. Lowell (cf. his Hessians, p. 228), with the following Key: A, Covering force of the attacking Americans. B, Line of attack on the block-houses (1, 2, 3) and fort (C), which mounted seven six-pounders, which were not used. D, Barracks in which one hundred and ten prisoners were taken. E, Work occupied by a Hessian captain, one officer and twenty-five men, possessed at the time the Americans retired, at daybreak. (Cf. plan in Lossing, ii. 828.) Farrier gives a plan from an original in the library of Congress.
The winter of 1779-80 was an exceptionally severe one in the North (Jones's N. Y., i. 320; Greene's Greene, ii. 184; Leake's Lamb; Almon's Remembrancer, ix.) After Clinton had gone South to attack Charleston, Knyphausen was left in command in New York (Eld's journal in Mass. Hist. Soc. Proc., xviii. 73; Eugene Lawrence on life in N. Y. in Hist. Mag., i. 37; Jones's N. Y. during the Rev., vol. ii.).
October 18-19, 1779.
Washington was encamped at Morristown, New Jersey. Views of his headquarters are in Lamb's Homes of America; Appleton's Journal, xii. 129; Lossing's Field-Book, i. 309, and his M. and M. Washington, 191. (Cf. Poole's Index, p. 873; Harper's Mag., xviii. 289; Mag. of Amer. Hist., iii. 89, 118.) Letters of Washington, while in Morristown, in addition to those given in Sparks, are in Mag. Amer. Hist., iii. 496. Orderly-books are in N. Y. Hist. Soc. cabinet and in Mass. Hist. Soc. Proc., xvii. 48.
The trials and deprivations of the army were so great that Washington did not dare take advantage of an ice-bridge formed across the Hudson, for an attack on New York, though the British feared that he might. There were varying councils on this point in the American camp (Duer's Stirling, ch. viii.). The British apprehension (Feb., 1780) is shown in Duncan's Royal Artillery, ii. 359; N. Y. Hist. Soc. Coll., 1875, pp. 147, 152. The difficulties in the American camp are followed in Irving's Washington, iv. ch. 1 and 4; Thacher's Mil. Journal; J. F. Tuttle in Hist. Mag., June, 1871, and Harper's Mag., Feb., 1859. A lack of money in the paymasters' chests caused dissatisfaction, which grew into an insurrection. The British, seeking to increase the trouble, marched into New Jersey, under General Matthews, but they were driven back, and waited on the coast till Clinton, returning from Carolina, reinforced them, when they again advanced. Washington, meanwhile, suspecting an incursion up the Hudson, had gone thither with a large part of his troops, leaving Greene at Morristown. Greene met the British and defeated them at Springfield, when they returned to New York. The progress of these events can be followed. On the American side, Greene's Greene, ii., and his letters in Sparks's Washington, vii. 75, 506; Gordon, iii. 368; Marshall's Washington; Sedgwick's Livingston; Bancroft, x. ch. 18; Irving's Washington, iv. 6; Carrington, 502; Lossing, i. 322; in histories of N. Jersey;[560] Atkinson's Newark, 104; Hatfield's Elizabeth, ch. 22; Mag. Amer. Hist., iii. 211, 490. On the British side, Moore's Diary, ii. 285; Simcoe's Queen's Rangers; in letters in N. Y. Hist. Soc. Coll., 1875, p. 458. George Mathew, of the Coldstream Guards, wrote an account (Hist. Mag., i. 103,—App., 1857), and some details are in the Court Martial of Col. Cosmo Gordon (London, 1783). For maps, John Hill's, published by Faden, 1784, is the principal one. Cf. Carrington; Lossing's Field-Book, i. 322; and the map of Elizabethport Point (1775-1783) by E. L. Meyer, published in 1879.
What is known as the affair of Bull's Ferry (July 21, 1780) was an unsuccessful attempt by Wayne upon a block-house garrisoned by Tories. (Cf. Mag. Amer. Hist., v. 161; Armstrong's Wayne; Sparks's Washington, vii. 116; and his Corresp. of Rev., iii. 34, 37; Sargent's André, 234.) André wrote on this misadventure of Wayne the well-known doggerel verses called The Cow-Chace, part of Wayne's project having been to gather cattle. The verses appeared in three numbers of Rivington's Gazette (New York, Aug. 16, 30, Sept. 23, 1780; Menzies, $23), and were republished by Rivington separately, 1780 (J. A. Rice's sale, $265), and also in Philadelphia, 1780. The book was reprinted at London with notes in 1781; at New York in 1789 (Morrell's Catal., $36); at London in 1799, with Dunlap's tragedy of André (Menzies, 61, $23); at Albany in 1866, edited by F. B. Hough; at Cincinnati in 1869. André seems to have made several copies of the MS. Sargent prints it from one of these. Another belonged to Dr. W. B. Sprague, and Lossing printed from this (Field-Book, ii. 878; Two Spies, 68). It will also be found in Moore's Songs and Ballads, 299; J. A. Spencer's United States, vol. ii. etc.
The summer was barren of military interest. Steuben was trying to reorganize the army (Kapp's Steuben, ch. 12-15). The low condition of the army is shown in Washington's letters (Sparks, vii. 156; Corresp. of Rev., iii. 15; Mag. Amer. Hist., Aug., 1879). Washington issued a circular letter on the army's distress (New Hampshire State Papers, viii. 870; cf. Journals of Congress, iii. 469). The British intercepted some mournful letters, and printed them (Political Mag., ii. 73).
In August there was a gathering of delegates from the New England States at Boston, "to advise the most vigorous prosecution of the war, and provide for the reception of our French allies." The Proceedings of this meeting have been edited from the original MS. by F. B. Hough (Albany, 1867). In November a convention of the Northern States at Hartford sought methods of furnishing men and supplies (Mag. Amer. Hist., Oct., 1882, viii. 688; and Clinton's knowledge of it in Ibid. x. 411).
Hope revived with the prospect of the arrival of Rochambeau and the French, in July, 1780 (Heath's Memoirs, 243; Corresp. of Rev., iii. 12). The first communications of Washington and Rochambeau are in Sparks's Washington, vii. 110, and App. 4, with an account of Lafayette's conference with the French. Rochambeau's instructions are in Ibid. vii. 493. The letters of Rochambeau and Lafayette are in the Sparks MSS., lxxxv.
The English fleet blockaded the French in Newport harbor. The Political Mag., 1780, has a map showing the blockade of the French admiral Ternay by Arbuthnot. Letters of the English admiral are in the Hist. MSS. Com. Report IX., App. iii. p. 106.
On the occupation of Newport by the French, see Mason's Newport; Newport Hist. Mag., ii. 41; iii. 177; Stone's French Allies, 256; Lippincott's Mag., xxvi. 351; Drake's Nooks and Corners of the N. E. Coast; Harper's Mag., lix. 497. The correspondence of Rochambeau and the Rhode Island authorities is in the R. I. Col. Rec., ix. There is a diary of a French officer in Mag. Amer. Hist., iv. 209; and Fersen's letters are in Ibid. iii. 300, 369, 437.
Several maps of Newport and vicinity are given in the Mag. Amer. Hist., like the plan of the town by Blaskowitz; the Defences of Newport, 1781, from a MS. French chart; and the Scene of Operations before Newport, 1781, from a MS. survey by Robert Erskine, geographer to the American army, of which the original is in the cabinet of the N. Y. Hist. Society.
There are among the Rochambeau maps several plans of Newport and its neighborhood, including no. 38, Plan de Rhodes Isle et position de l'armée française à Newport, measuring 5 x 3 inches, colored and showing roads, fences, forts, and the fleet in the harbor; no. 39, Plan de la ville, port, et rade de Newport, avec une partie de Rhode Island, occupée par l'armée française, evidently by the same draftsman as the preceding, dated 1780, colored, measuring 24 x 30 inches, showing forts, Gen. Sullivan's old camp, the old line of the English, etc.; no. 41, a plan, 8 x 15 inches, called Quatre positions de la flotte française et position de la flotte anglaise; no. 42, evidently by Montresor, colored, measuring 4 x 3 inches, dated 1780, called Plan de la position de l'armée française au tour de Newport, et du mouillage de l'escadre dans la rade de cette ville. Le Rouge published a map of this title in Paris, in 1783. Cf. map in Political Mag., i. 692.
On the French participation in the war we have Rochambeau, Mémoires, with an English translation by Wright, and the Troubles of Soulés, which is supposed to have been inspired by Rochambeau. Cf. Walsh's Amer. Register, ii. The other French contemporary accounts are the Mémoires of Count Ségur and the Duc de Lauzun; the Travels of Abbé Robin and of Chastellux, of which there is an English translation by George Greive (Mass. Hist. Soc. Proc., April, 1869); the Journals of Deux-Ponts, edited by S. A. Green, and of Claude Blanchard. (Cf. Revue militaire française, and Tuckerman's America and her Commentators.) The later French accounts in general are Leboucher's Hist. de la guerre de l'indépendance des Etats-Unis; Balch's Les français en Amérique (1872), Chotteau's Les français, etc. A comprehensive later American account is E. M. Stone's Our French Allies. Cf. Lossing in Harper's Mag., xlii. 753.
Counter attacks of Clinton on Newport and of Washington and Rochambeau on New York were prevented by untoward circumstances (Sparks's Washington, vii. 130, 137, 171, with App. 6; Jones's New York during the Rev., i. 358; Mémoires of Rochambeau).
In September, 1780, Washington had an interview with Rochambeau at Hartford to devise further operations, but the plot of Arnold disconcerted all measures (E. M. Stone, 281; Irving's Washington; J. C. Hamilton's Republic, ii. 49). Alexander Hamilton had drawn up a plan of combined operations.
In October there was an unsuccessful expedition to Staten Island (Life of Pickering, i. ch. 17; R. I. Hist. Soc. Coll., ii. 257; Hist. Mag., i. 104).
Washington was now in camp at Totowa and Preakness, in New Jersey. There are a map and view of his headquarters in Mag. Amer. Hist., Aug., 1879. Cf. orderly-book in 2 Penna. Archives, xi., and Journal of Capt. Joseph McClellan in Ibid.
The Pennsylvania line was at Morristown, under Wayne, and in January, being without pay and supplies, they revolted, and marched towards Philadelphia to claim redress of Congress. The New Jersey line was similarly affected. Prompt and judicious measures quelled the mutiny, but not till some emissaries, whom Clinton had sent to increase the trouble, had been hanged by the insurrectionists. Original sources: Wayne's letters to Washington, in the Corresp. of Rev., iii. 192; Sparks's Washington, vii. 348, with App. x.; proposal of a Committee of Sergeants, with Wayne's comments, in the Sparks MSS., xxxix. p. 100 (also no. liv. 5); documents in Penna. Archives, viii. 698, 701, 704, and ix.; second series, xi.; Colonial Records, xii. 624; Hazard's Register, ii. 160; St. Clair Papers, i. 108, 532; Bland Papers, ii. Cf. also Marshall's Washington, iv. 393; Irving's, iv. 195; Hamilton's Hamilton, i. 323, and Works, ii. 147; Amory's Sullivan, 181; Madison Papers, i. 77; Reed's Reed, ii. ch. 14. Clinton's report is in Almon's Remembrancer, xi. 148. The information reaching the British camp is in Clinton's Secret intelligence, in Mag. Amer. Hist., x. 328, 331, 418, 497; an account of the hanging of the British emissaries is in the Hist. of First Troop of Philad. City Cavalry, p. 28.
Washington and Rochambeau had held a conference at Weathersfield, Conn. (May 22, 1781), to arrange for a plan of combined action (Sparks's Washington, viii. 517, for their views respecting the safety of Newport, meanwhile). The conference was held at the Webb House (Mag. Amer. Hist., June, 1880). The French army then moved by way of Providence to the Hudson, and there is among the Rochambeau maps in the library of Congress a plan of their route, with key, giving their twelve encampments on the way (nos. 42 (bis), 43, 44). Marche de l'armée française de Providence à la Rivière du Nord, 1782. In the Mag. Amer. Hist. (iv. 299) there is a map of the Route of the French from Providence to King's Ferry, following a MS. attached to a diary of a French officer.
Rochambeau established his headquarters at the Odell House, in Westchester (Stone, French Allies, 394; C. A. Campbell in Mag. Amer. Hist., iv. 46). On June 12th, the two commanders held a council of war at New Windsor (Mag. Amer. Hist., iii. 102). Clinton's secret journal shows how well the British commander was informed of what was going on (Ibid. xii. 73, etc., 162, etc.). Beside the correspondence of Washington at this time, in Sparks, there are other letters in Ibid. iv. and v. Washington's first attempt to act in union with the French was in the proposed attack on the forts on New York Island. (Cf. Washington's journal in Ibid. vi. 117; xi. 535.) There is among the Lincoln Papers (Sparks MSS., xii.) a "memorandum to regulate the movements of the allied army on the night of the 31st of July, 1781." J. A. Stevens follows the operations of the combined armies at this time (Mag. Amer. Hist., iv., Jan., 1880). He gives a map of the attempt at King's Bridge, July 3, 1781. There is among the Rochambeau maps an excellent draft, about thirty inches wide by fifteen high, showing New York with Long Island, with the French camp as high up as Tarrytown, called Position du camp de l'armée combinée de Phillipsbourg du 6 Juillet au 19 Août, 1781. Stevens gives a fac-simile of this, and also a map of the environs of New York between the Sound and the Hudson, called Surveys in New York and Connecticut States for his Excellency, Gen. Washington, by Robert Erskine, Anno 1778, W. Scull delin.,—a MS. plan in the New York Hist. Soc. library (Proc., 1845, p. 56), where is also a MS. Chart of the Harbour of New York, with a map of the Country bordering upon the Sound, and extending to the Connecticut, with the names of the principal places laid down thereon, by Robert Erskine, 1779 (N. Y. Hist. Soc. Proc., 1848, p. 188). The Rochambeau maps contain other evidences of the activity at this time of the French topographical engineers; as, for instance, a plan (no. 29) done in ink and color, measuring ten inches wide by twelve high, and not very exact, called Reconnaisance Juillet, 1781, ouvrages [de] Morrisania, Isle de New York, by Montresor and Buchanan, and a second (12 x 15 inches) which gives the works at Frog's Point (no. 30), and adds to the title "Plan d'une batterie de Long Island." Another (no. 32), called Reconnaisance des ouvrages du nord de l'Isle New York, 22-23 Juillet, 1781, measures twelve inches wide by fifteen high, apparently the work of Montresor, and shows Fort Washington, Laurel Hill, etc. It was Washington's purpose at this time to make Clinton expect an attack on New York (Sparks's Washington, viii. 54, 130, 517; Amer. Antiq. Soc. Proc., 2d series, i. 327). Clinton has recorded his reason why he did not venture to attack Washington in July and August, while the Americans were encamped at King's Bridge (New York City during the Rev., New York, 1861, pp. 177-184). By August 14th, the coöperation of the French fleet being assured, Washington decided to march to Virginia (Mag. Amer. Hist., vii.; also xi. 343; Diplom. Corresp., xi. 417). He said the main cause of his coming to this decision was the failure of the[562] New England States to supply men (Mag. Amer. Hist., vi. 125). Washington's headquarters at this time were in the Livingston mansion (Lossing, ii. 195).
The question of Washington having been made a marshal of France has caused some discussion. Hist. Mag., ii., iii.; E. M. Stone's French Allies, 373; Balch, Les Français en Amérique, 122.
While Washington marched towards Virginia, the marauding expedition which Clinton had sent under Arnold, along the Connecticut coast, failed to divert him from his purpose, as the British commander had hoped it would. The attack fell upon New London and Groton, early in September. Trumbull's letter to Washington is in the Corresp. of Rev., iii. 403. Cf. Stuart's Trumbull, ch. 45; Arnold's account in the Polit. Mag., ii. 666; Sparks's Arnold, and Arnold's Arnold; "Sir Henry Clinton and the burning of New London", in Mag. Amer. Hist., March, 1883, p. 187. There are contemporary accounts in N. E. Hist. and Gen. Reg., x. 127 (1856); Niles's Principles (1876), p. 143; Moore's Diary, ii. 479; and in the Narrative of Jonathan Rathbun, with accurate accounts of the capture of Groton fort, the massacre that followed, and the sacking and burning of New London, Sept. 6, 1781, by the British forces, by Rufus Avery and Stephen Hempstead, with an appendix (1810).
The principal monograph is William W. Harris's Battle of Groton heights: a collection of narratives, official reports, records, etc., of the storming of Fort Griswold, the massacre of its garrison and the burning of New London by British troops. With introd. and notes; rev. and enl. with additional notes, by Charles Allyn (New London, 1882). The original issue was in 1870. The perfected edition is enriched with many documentary proofs.
There have been other anniversary addresses: Tuttle's at Fort Griswold (1821); W. F. Brainerd's (1825); Griswold's in commemoration of Col. Ledyard (1826), who was run through by his own sword after he had surrendered it; R. C. Winthrop's (1853) in his Addresses (1852-1867, p. 84); Leonard W. Bacon's, with an historical sketch by J. J. Copp, in the Battle of Groton Heights (1879).
The local authorities are Hollister's and other histories of Connecticut; Caulkins' New London, ch. 32; Hinman's Hist. Collections; L. W Champney's "Memories of New London" in Harper's Mag., lx. (Dec., 1879), p. 62, with views in Lossing's Field-Book, ii. 43, 46.
A paper by C. B. Todd on the massacre (Mag. Amer. Hist., vii. 161) has an account of Ledyard and his family, with views of his house in Hartford and the monument on Groton Heights (cf. Harris and Allyn, p. 179), and a list of the slain. Gov. Trumbull made a report on the losses inflicted at New London and Groton, Sept. 6, 1781, which, with affidavits respecting the conduct of the enemy, are in the State Dept. at Washington.
There are critical accounts in Dawson's Battles and in Carrington's Battles. The latter has a plan. A map of Mass., Rhode Island, and Connecticut, showing the geographical relations, is in Polit. Mag., iii. 171.
A MS. "Sketch of New London and Groton, with the attacks made on Forts Trumbull and Griswold by the British troops, under the command of Brig.-Gen. Arnold, Sept. 6, 1781", is among the Faden maps (no. 98) in the library of Congress, together with a separate ink drawing of Fort Griswold (no. 99),—both of which are engraved in Harris and Allyn.
THE NAVAL HISTORY OF THE AMERICAN REVOLUTION.
BY THE REVEREND EDWARD E. HALE, D. D.
THE battles of the Revolution were fought on the sea as often as on the land, and to as much purpose. The losses inflicted on their enemies by the United States in their naval warfare were more constant, and probably more serious, than any losses which they inflicted elsewhere. At the beginning of the war, the mercantile class of England, even then a powerful element in her politics, were far more indifferent to the questions at issue than they became afterwards, when the rates of maritime insurance began to rise rapidly. These high rates had begun long before France and Spain entered into the struggle; and the captures which the English navy made by no means compensated England for the losses which she sustained. In such a contest, it generally proves that the richer combatant is he who pays the most. The loss of an English Indiaman or a Mediterranean trader on her voyage to "the Pool",[1222] or to Bristol, was but poorly compensated by the capture of even a dozen American schooners laden with salt fish and clapboards.
The men of New England, after the early exodus of the Tories, were almost unanimously engaged against England, and they were engaged with that intensity of purpose which belongs to Puritans and to republicans. They were then almost wholly a maritime race; and those ethnologists who think that New Englanders have a larger share of Norse blood than most Englishmen may well justify their theory by the fearlessness of the genuine Yankee upon the sea and his passion for maritime adventure. So soon, therefore, as the outbreak of hostilities began to disturb the natural course of their commerce, the seamen of the New England coast took up the business of cruising against their enemies, as if it were quite normal and something to which they had been born and trained.
New England was at this moment an important factor in the maritime interest of the world. She had special facilities for ship-building. In that essential department of maritime commerce her artisans excelled any in the world, and for three quarters of a century the export of ships, which were sold abroad, had been one of the most profitable features of New England commerce. It required two thirds of a century after John Winthrop built[564] the "Blessing of the Bay" to persuade the masters of the royal ship-yards that there was any timber in America which they could use in preference to that which they received from Norway.[1223] But Lord Bellomont, as early as 1700, had urged that the king should not buy his spars in the open market in England, but should send his own vessels to New England for them. In the same letters he pointed out to his correspondents that the effect of the present regulations was that the Americans shipped spars to Portugal, which were then used in the navy of France. In point of fact, when at last, in 1778, all four parties were engaged in the Revolutionary War, the spars of most of the vessels of England, France, Spain, and America had all been cut in the forests of New England. It is, indeed, quite within the memory of men now living that in the wildernesses of Maine or New Hampshire some fine old monarch of the forest might still be found bearing the broad arrow of the king of England. He had been marked for the royal navy while King George yet reigned over half this continent, and he had been spared from the axe by the Declaration of Independence.[1224]
A people thus bred to the sea, and able to assert themselves upon it, lost no time, when they found themselves at war with England, in carrying their war upon the element to which they were born. They won their first naval victory over England on the 5th of May, 1775, scarcely a fortnight after the battle of Lexington. The "Falcon", a British sloop of war, had, under some pretence, seized one or more prizes from the people of Buzzard's Bay. Inspired probably by the success at Lexington and Concord, the people of New Bedford and Dartmouth fitted out a vessel, with which they attacked and cut out one of the "Falcon's" prizes, with fifteen prisoners, from a harbor in Martha's Vineyard. On the 12th of June the people of Machias, in Maine, seized the "Margaretta", a king's sloop, and two other vessels. The captain and his crew resisted, but he was killed, with one of his men, and five were wounded.[1225] Her armament was transferred to another vessel, which was placed under the command of Jeremiah O'Brien, who received from the government of Massachusetts a commission as marine captain. As early as the 2d of September, Washington, who was then in command at Cambridge, issued commissions, authorizing those who held them to cut off the supply-vessels of the English as they[565] entered the harbor.[1226] The provincial congress at once legalized their capture, so far as its enactments could do so, and six vessels were commissioned by the province of Massachusetts Bay,—the "Lynch", the "Franklin", the "Lee", the "Washington", the "Harrison", and the "Warren."
On the 16th of October, Washington, acting under instructions from Congress,[1227] directed Broughton and Selman, captains in the Marblehead regiment of Continentals, to take their companies on board the "Lynch" (six guns) and "Franklin" (four guns), and attempt to intercept in the river St. Lawrence two English transports bound for Quebec, with military stores. They did not find these two vessels; but they took ten other prizes, attacked and took a fort on the Island of St. John, and brought off as prisoners of war the governor and one of the judges of that island.[1228] On their return in December to Massachusetts, both officers were reprimanded for exceeding their instructions, and both prisoners and prizes were released. The Congress and Washington were still maintaining a friendly attitude towards Canada and the other northern provinces, and gave up prizes and prisoners in hopes of conciliating them. Meanwhile, on the 29th of November, another Marblehead captain, John Manly, in command of the schooner "Lee", took the brigantine "Nancy" from London, as she entered Massachusetts Bay, laden with military stores for Howe.[1229] We have the contemporary records of the joy of the Americans at Cambridge, and the dismay of the besieged in Boston. The extemporized camp of the besiegers read with delight from the invoice of her stores such phrases as "two thousand muskets", "one hundred and five thousand flints", "sixty reams of cartridge[566] paper", "thirty-one tons of musket shot", "three thousand round-shot for 12-pounders, four thousand for 6-pounders."
COMMODORE TUCKER'S ORDERS.
After original in the Tucker Papers, in Harvard College library, giving him, by direction of Congress, charge of the frigate "Boston."—Ed.
Before the end of 1775 the Continental Congress ordered that five ships[567] of thirty-two guns should be built, five of twenty-eight, and three of twenty-four. This order was carried out, and these vessels are the proper beginning of the navy of the United States.[1230] Almost every one of them, before the war was over, had been captured, or burned to avoid capture. But the names of the little fleet will always be of interest to Americans, and some of those names have always been preserved on the calendar of the navy. They are the "Washington", "Raleigh", "Hancock", "Randolph", "Warren", "Virginia", "Trumbull", "Effingham", "Congress", "Providence", "Boston", "Delaware", "Montgomery." The State of Rhode Island, at the very outbreak of hostilities, commissioned Abraham Whipple, who went with his little vessel as far as Bermuda, and, from his experience in naval warfare earned in the French War, he was recognized as commodore of the little fleet of American cruisers. England had no force at Bermuda to resist him, and he found the inhabitants friendly. A raid, directed by Congress, had already brought from the island all the powder in their stores, and this was one of the first supplies which Washington received at Cambridge.[1231] Meanwhile, every maritime State issued commissions to privateers, and established admiralty or prize courts, with power to condemn prizes when brought in. Legitimate commerce had been[568] largely checked,[1232] and, as has been said, the seamen of the country, who had formerly been employed in the fisheries,[1233] or in our large foreign trade with the West India Islands and with Europe, gladly volunteered in the private service. Till the end of the war the seamen preferred the privateer service to that of the government. This fact, indeed, materially affected the somewhat bold proposals with which the Continental Congress began the war; and, at the time when the war virtually closed by Cornwallis's surrender, the national government, if it can be called such, had very few vessels in its service.
The larger maritime States had in commission one or more vessels from the beginning, but they found the same difficulty which the Congress found in enlisting seamen, when any bold privateer captain came into rivalry with them. The States of Massachusetts, of Rhode Island, of Connecticut, of Pennsylvania, of Virginia, and of South Carolina had, however, as we shall see, each nominally a naval force of its own, all through the war. The general disposition of all parties being the same, it was not difficult to unite Continental ships, state ships, and privateers, on occasion, in the same endeavor.
In March, 1776, the English fleet in Boston Bay, with a large number of transports, carried to Halifax the whole English army, and those inhabitants of Massachusetts who did not venture to remain.[1234] Meanwhile, the English government at home was sending large reinforcements to Howe, and he was not as successful as he could have wished in meeting at sea the vessels which brought them, and turning them into Halifax. Among the first considerable successes of the privateers and the armed ships of Massachusetts Bay were the capture of several of these vessels as they came unsuspiciously toward the harbor of Boston. The Connecticut brig "Defence", of fourteen guns, the Massachusetts State schooner "Lee", of eight, and three privateer schooners attacked two armed English transports off Cape Cod, and captured them after a sharp action of an hour. The next day they took a third, and in this way five hundred prisoners fell into the hands of the Americans. This was on the 17th and 18th of June, 1776.[1235]
As early as the 22d of December, in 1775,[1236] Congress had appointed Esek Hopkins, of Rhode Island, commander-in-chief of its navy, and had named four captains beside, with several lieutenants, the first of whom was John Paul Jones. Hopkins and the rest fitted a squadron of eight small vessels, of which the "Alfred" (twenty-four guns) was his flag-ship. Jones was with him as his lieutenant. With this force they made a descent upon New Providence in the Bahamas, and although they failed in obtaining a stock of powder, which they had hoped for, they did capture a hundred cannon and a large quantity of other military stores.
ESEK HOPKINS.
From an engraving in An Impartial History of the War in America, London, 1780, p. 310, where he is called "Robert Hopkins, Commodore of the American Sea-forces", in a sketch of his life which is far from accurate, and which is cited in the United Service, Feb., 1885, etc. A more common picture is given in Murray's Impartial History (vol. ii.), which has been quently reëngraved. (Cf. The Providence Plantation for 250 Years, Prov., 1886, p. 61; Lossing's Field-Book, ii. 844 Cyclop. U. S. Hist., i. 844; Harper's Mag., xxiv. 160.) There is a German print in the Geschichte der Kriege in und ausser Europa (1778), and a Dutch one in Nederlandsche Mercurius, xxiii. p. 128.
The best known picture is one published in London, Aug. 22, 1776, by Thomas Hart, of which a reproduction is given in Smith's Brit. Mezzotint Portraits, and in the United Service (xii. 137, 300), Feb., 1885, accompanying a memoir by Admiral Geo. H. Preble. (Cf. Preble's Hist. of the U. S. Flag.) It represents "Commodore Hopkins" standing on his deck, sword in hand, with two ships in the background, one bearing a Liberty Tree flag with the motto "An appeal to God;" the other having a striped flag with a serpent across the stripes, and the motto "Don't tread on me." (Cf. E. M. Stone's Our French Allies, p. 12, and Lossing's Field-Book, ii. p. 844.)—Ed.
On his way home, Hopkins took a tender of six guns and a bomb brig off Long Island, and on the 6th of April, with a part of his squadron, engaged the English ship-of-war "Glasgow", of twenty guns. He did not take her, but the audacity of the attack, made by vessels each of which was her inferior, pleased the country, and it was at first represented as a great victory. When it was learned that Hopkins had five vessels, however small, to the Englishman's one, a reaction of public feeling took place, from which he never recovered. He was honorably acquitted by a court-martial, but never regained full public confidence, and he does not appear in the public naval service afterwards. This hasty public condemnation seems to have been unjust, and to have cost the country the service, in its national navy, of a skilful and brave commander.[1237]
While Hopkins was undergoing his trial, on the 10th of May, 1776, Paul Jones was appointed to the command of the "Providence", in place of Hazard, who did or did not fight her as he should have done in the engagement with the "Glasgow." Through the summer, Jones was engaged in cruising. At one time he ran as far as Bermuda, and afterwards to the eastward as far as Canso. In this summer cruise he made sixteen prizes, and his reputation as a favorite dates from this time.
On the 10th of October a resolution of Congress fixed the rank of captains in the navy. James Nicholson[1238] was first, Manly second, McNiel third, Saltonstall fourth, Lambert Wickes eleventh, John B. Hopkins fourteenth, and Paul Jones eighteenth on a list of twenty-four.[1239]
Jones was not pleased that his rank was not higher, but eventually his achievements were such that his reputation probably now stands higher as a successful officer than that of any of the number.
While he was cruising at the East, Nicholas Biddle,[1240] in the "Andrea Doria", a little brig carrying fourteen 4-pounders, took two armed transports[571] filled with soldiers, and captured many merchantmen. On returning from his cruise he was appointed to the "Randolph" (thirty-two guns), which had been built that summer in Philadelphia and was launched in the autumn. Biddle's reputation was high in consequence of his success, and early in 1777 he sailed on the "Randolph's" first cruise. He captured four Jamaica-men when he was three days out, one of which had an armament of twenty guns, but he was then blockaded in Charleston by an English force through the summer.[1241]
In the autumn of 1776, Jones, at Newport, took command of the "Alfred" (twenty-four guns) and "Providence" (twelve guns), and in the month of November went to sea. He was fortunate enough to take the armed ship "Mellish", with stores for Burgoyne's army. But while returning to Boston with her, he met the "Milford" (thirty-two), an English frigate. He succeeded in turning her away from his prize and brought it into Boston harbor. The "Mellish" had ten thousand suits of uniform on board, in charge of a company of soldiers. It was when he arrived that Jones found that he was only eighteenth on the list of captains, and this really meant that there was hardly a ship which he could expect in the service, and that if he found any it would be even inferior to the "Alfred."
On this occasion he first used Poor Richard's rule, "If you want a thing done, do it yourself." He went to Philadelphia to urge his own claims on Congress or its naval committee. But they could not work impossibilities, and it was not till some months later that he was appointed to the "Ranger." He believed that she was the first armed vessel to display the national American flag. It was not till November, 1777, that he got to sea with her. He hoped to carry out the great news of Burgoyne's surrender. But the government of Massachusetts had been too quick for him. They had commissioned the brigantine "Perch", with a special messenger, Jonathan Loring Austin, and he had arrived in France with the news some days before Jones appeared.
Lambert Wickes, the eleventh on the list of captains, had been the first officer to carry a national cruiser across the ocean. He was directed to take Dr. Franklin to France in the "Reprisal", and did so,—in a voyage which gave Franklin a high opinion of his ability. Several times he beat to quarters when an attack from a hostile force seemed possible, but with such a passenger he did not, of course, court an action. When near the coast of France he made two or three prizes and brought them in with him.
His arrival and theirs, and the arrival of some other prizes which had been taken early in the year by other privateers, opened all the questions[572] regarding neutrality, which recently, in our civil war and afterwards, made the history of the cruiser "Alabama" so important a feature in modern international law. France made no treaty with America until the end of 1777. Till that time—indeed, until the formal rupture with England—she was under very strict treaty obligations with that power. The Treaty of Utrecht (1713) provided that "it shall not be lawful for any foreign Privateers to fit their ships in the Ports of one or the other of the aforesaid Partys, to sell what they have taken, or in any manner whatever to exchange either Ships, Merchandises, or any other Ladings." Wickes was annoyed and provoked at the treatment he received from French officials, who pretended to observe the obligations by which the French king was thus bound. But he succeeded in going to sea again, and made a successful cruise around Ireland, taking several prizes.[1242]
The French people looked with great satisfaction on such captures. But war was not yet declared with England by France, and the French cabinet knew perfectly well that the act of Wickes involved a flagrant violation of French neutrality. The fitting out war-vessels in French ports was not only wrong, under a fair construction of international law, but the king of France had specially waived all right to harbor privateers of foreign powers—unless they were in actual distress—by these special articles in this treaty. Wickes could never understand this. He knew that France was sending munitions of war to his countrymen. Why should France not permit him to bring his prizes into French ports to sell? And the temptation was great. Once and again he slipped out to sea; and he sent in one and another prize. But at last Vergennes, the French minister, could bear it no longer. Poor Wickes's last letters show how strong the hand of France was, even upon her friends.[1243]
All the diplomacy of Franklin, the good-nature of Vergennes, and the real sympathy of the French people could not forever prevail. Wickes was at last ordered squarely to make ready for America, and did so. But, alas! the refitting seems to have been incomplete, and he never reached the United States. His vessel was lost off Newfoundland, and only one man was saved.
The other name which should rank with those of Jones and Wickes as one of those early naval heroes who in a courageous though fitful manner kept the stars and stripes afloat in European waters, and infested the English shores to the annoyance of their merchant marine and the terror of the maritime towns, is that of Gustavus Conyngham. In the spring of 1777, before Wickes had rendered himself so utterly obnoxious to the French ministry as he afterwards did—before the complaints of Lord Stormont had received much attention, Silas Deane, ever on the lookout for the accomplishment of some successful naval enterprise, took thought with William Hodge, a Philadelphia merchant, and planned what was to be the boldest raid yet made upon the English shipping. A lugger was purchased at Dover and sent around to Dunkirk, that old nest of smugglers and privateersmen. She was fitted out with an armament and crew, and given, with the name of the "Surprise", to Gustavus Conyngham, for a raid on the English marine. The expedition was partly public and partly private in its nature. Conyngham was, however, an officer in the navy, for he was furnished with one of the blank commissions given the commissioners for that very purpose, signed by John Hancock, president of Congress. This point was of some importance to him afterwards, when he was accused by the English of piracy. The charge was groundless. The commissioners had received power to create officers in the navy of the United States, by virtue of these blank commissions, which were to be filled out to suit the circumstances. Conyngham sailed from Dunkirk with instructions to cruise in the British Channel for merchant vessels, and to look particularly for the "Prince of Orange" packet from Harwich. He was fortunate. On one of the very first days of the cruise he came across the packet, captured her without a blow, and then made sail with his prizes for Dunkirk. He had also taken a brig.
But this breach of French neutrality was too shameless. A storm of English complaint compelled the French court to take firmer measures than they may have desired. Conyngham and his crew were put in prison, the lugger was confiscated, the prizes were returned. The French, indeed, went so far that the English government, quite deceived by their great zeal, sent[574] over vessels to bring to England Conyngham and his crew to be tried for piracy. But to this point the French could not quite go.
The affair caused great excitement in England. It was so unexpected, so bold, so audacious, that no one could tell what would come next. As a consequence, insurance rose quickly. British ships were no longer considered safe, even in the English Channel. There were at one time in the Thames as many as forty French vessels loading with English merchandise, while it is said that ten per cent. was sometimes paid as insurance for the short passage between Dover and Calais. Although the measures of the French government tended to quiet apprehension, it was some little time before confidence was restored.
Meanwhile, the planners of the first scheme had resolved to repeat the outrage. Another cutter was bought, again at Dover, and equipped with fourteen sixes and twenty-four swivels. Conyngham's release was obtained through the courtesy of the French ministry, and that of his crew, by the representation that they were to sail upon a trading voyage. Mr. Hodge himself went surety for the truth of this statement. The French court did not like the business; they would have preferred that the expedition should be abandoned, and they offered to purchase the cutter of its owners. But it was declared to the ministers that the voyage was for trading purposes only, and that the owners would suffer serious loss if it were not allowed to proceed, and they gave way. The business is not a clear one. It seems evident that the French suspected that all was not as it should have been, but that they were deceived as to the real object of the expedition. It is not probable that they desired to blind themselves to the truth, for they were at this time in a delicate position with England through the operations of Wickes, Johnston, and Nicholson, and there was but little in the aspect of American affairs that would have tended to make them consider an alliance with the United States with such seriousness as to be willing to allow the English ministry to have more cause for complaint than could be helped. However this was, Conyngham sailed in the "Revenge" on the 18th of July for another cruise, by no means a trading voyage. In this case, also, although the ship was undoubtedly fitted out in a measure by private parties, Conyngham himself sailed with a regular commission. His former one had been taken from him when he was imprisoned, and sent to Versailles, and was never heard of again. This second commission was drawn on one of the blanks with which the commissioners were furnished.
This cruise was even more successful than the former, although no such capture was made as that of the Harwich packet. Conyngham made prize of several ships, alarmed the English merchant marine again, threatened the English coast, actually refitted his vessel in an English port, having made his way thither in disguise, and escaped with safety to Spain in course of time. Most of his prizes were disposed of to the benefit of the United States government as well as of the private parties concerned. There was more English complaint in Paris, but nothing actually came of it beyond the[575] imprisonment of Mr. Hodge in the Bastille. But he was shortly released on such representations by the commissioners as seem to have satisfied the French court.
Captain Johnston does not appear among the twenty-four captains first commissioned by Congress; but in the spring of 1777 he took the "Lexington" across to Europe, and arrived there in April. With the "Dolphin", under Lieutenant Nicholson, a brother of Nicholson who was senior captain, he went to sea under Wickes's command in the cruise which has been described. But in a second cruise fortune failed him. He engaged the "Alert", an English man-of-war cutter of force somewhat less than his own; but after a long action, having expended all his ammunition, he was obliged to surrender. It is said that his little vessel was the first to bear the American flag in an ocean victory. She had already been taken once, and once recaptured by her own crew, after they had been placed under an English prize crew. She had taken many prizes, and had won for herself a reputation in both hemispheres in only one year and eight months, which comprise all her American service.
As a consequence of her capture, Johnston and his crew were made prisoners. At one time the English had nearly one thousand American seamen imprisoned in Forton, near Portsmouth. But the successes of Jones and other cruisers, after the French alliance enabled the Americans to keep their prisoners, compelled the English administration to assent to an exchange; and in the winter of 1779-80, most of the Americans were released by such exchanges.[1244]
It is impossible, within the space at our command, to give any detail of the successes of the various armed vessels, whether fitted out by individuals, by States, or by the Congress on the shores of the United States.[576] A good authority[1245] says that, in 1776, 342 sail of English vessels were captured by the Americans. Of these, forty-four were recaptured, eighteen released, and the rest carried into port. The same authority tells us that in the year 1777 the commerce of England suffered a loss of 467 sail, though the government kept seventy cruisers on the American coast alone. Such successes were not of course without their compensations. In March the English captured the brig "Cabot", of sixteen guns, one of the first American cruisers. When Gen. Howe took Philadelphia the Americans were obliged to destroy the "Andrea Doria", the "Wasp", and the "Hornet." The "Raleigh", one of the Continental frigates, got to sea from New Hampshire. She engaged the "Druid", an English vessel in convoy of the Windward Island fleet, and disabled her, so that she returned to England.
When 1778 began, of the new frigates ordered in 1775, the "Congress" and "Montgomery" had been burned in the Hudson that they might not be taken; the "Delaware" had been captured in the bay whose name she bore, and the "Hancock" taken off Halifax. At about the same time the "Randolph" blew up, as has been told. In 1778 the "Washington" and "Effingham" were burned in the Delaware by the enemy, and the "Virginia" was captured by a squadron of theirs on her first voyage. To supply the places of the unfortunate ships which were lost so soon after they were built, the government had commissioned the "Alliance", the "Confederacy", the "Deane", afterwards called "The Hague", and the "Queen of France." Of these, the three first carried thirty-two guns each, and the last twenty-eight. The "Alliance" and "The Hague" were the only two, of all the seventeen, which remained in the service when the war was over. While the American naval force, so far as it was under Continental orders, was thus insignificant for any action against an English fleet of more than seventy vessels, the arrival of D'Estaing with a large French fleet off the capes of the Delaware, in July, did much to hold that force in check and to compel it to act on the defensive. Before describing the movements of D'Estaing's fleet, we must return to the eastern side of the Atlantic, and continue the history of naval warfare on the coast of England.
Such captures as those made by Wickes and Conyngham, under the very eye of the English nation, naturally attracted more attention among those who led the public opinion of England than did any captures made by the navy of America on her own coast, and there were bolder movements yet to claim their attention than any we have chronicled.
John Paul Jones was a native of Scotland, but at an early age he removed to America, and he had been engaged there in commerce many years before the breaking out of the war. As the reader has seen, he crossed the Atlantic in hopes of obtaining a better vessel than Congress could give to him on this side of the water. But he found on his arrival that no such vessel was to be had at once. He therefore refitted the "Ranger", the[577] vessel in which he had crossed the ocean, and in the month of April, 1778, he made a bold descent on the coast of Scotland and England. In this expedition he took the English ship "Drake", of a force quite equal to his own, and he brought her with him as a prize into the harbor of Brest. In this voyage he made a landing on the Scotch coast, and his men carried off the family plate from the mansion of the Earl of Selkirk. Jones himself had been in the service of this nobleman, and he made it a point of honor to buy back the plate from his men and send it to the Countess of Selkirk.
The news of his exploit was of no little importance for the American name in France. It seemed to open an opportunity for giving to Jones the command of the "Indian", a fine vessel then upon the stocks, and through the summer he was amused by this hope and by various enterprises which were proposed for so energetic a leader. Of his disappointments and of his renewed expectation full record has been left in his letter-books. One of the plans was that of a descent on the English coast, to be made by a French force under the command of La Fayette. Jones was to be the naval leader of this expedition. But as the alliance of France with America was now determined on, the French government enlarged their plans. D'Estaing was sent to the American coast, and La Fayette and Jones were told that their services would not be needed. In the midst of these disappointments, Jones had given up the command of the "Ranger", which he would have thought better than nothing. It is at this moment that he says he adopted "Poor Richard's" motto, which, as our reader knows, he had tried before in America,—"If you want a thing done, do it yourself",—and went to Paris himself to urge his claims for employment. The result of his visit was that an old Indiaman was bought for him, which he transformed into a two-decked frigate, and to this ship, in compliment to Franklin, his fast friend, he gave the name of "Bonhomme Richard", that being the French translation of "Poor Richard." She was armed and equipped in haste, which, as it proved, was almost ruinous. The "Alliance", under Landais, the "Pallas", hired for the expedition, and two smaller vessels, joined the squadron. These two vessels were privateers, and the cost of the whole expedition seems to have been borne, in part at least, by private adventurers. The seamen were persons of all nationalities. But Jones and his own officers on the "Richard" were Americans serving under the American commission. With this heterogeneous squadron Jones sailed, and the several vessels made a good many rather insignificant prizes. They passed around the north of Scotland, and came down on the east side of the island into the Northern Ocean. On the 23d of September he discovered the Baltic squadron of merchantmen in the convoy of the frigate "Serapis", and the "Countess of Scarborough." Jones's squadron at this time consisted of the "Richard", the "Alliance", and the "Pallas." The English squadron was commanded by Richard Pearson.
Pearson signalled to his convoy to take care of themselves, and at once engaged the American squadron, unless we say that they engaged him. The "Pallas" took the "Countess of Scarborough" in an action of which we have not any such account as could be wished for. The fight between the "Richard" and the "Serapis" was long and close, and proved indeed to be one of the most remarkable naval duels in history. The two vessels were of about the same force in respect to the number of guns. But on the first discharge of the lower-deck guns of the "Richard", two of them burst, so inferior was their metal, and the men at the other guns on that deck refused to fight their batteries, probably not unwisely. They repaired to the upper deck, and through the rest of this remarkable action the lower-deck guns of the "Serapis" were served against the main deck of the "Richard" without receiving any reply. Jones fastened the ships together, it is said, with his own hand, as soon as they first touched each other. Through the action their sides were so close that not only at the moment when one party attempted to board the other, but for most of the battle, it was easy to pass from ship to ship. They had been for some time engaged when the firing of the "Richard" slacked, and Pearson called to know if she had struck. It was then that Jones made the ominous reply which has become almost proverbial: "I have not begun to fight." When he did begin to fight he showed all the remarkable qualities which certainly made him a great naval commander. He was willing to serve guns with his own hands, but he kept an eye on everything which was passing on both ships. He succeeded in so placing one or two of his guns that he nearly raked the enemy's deck fore and aft, and it was almost impossible for any man to stand against his fire. This terrible action raged through several hours of the night. The anxieties attending it for the Americans were the more acute, because Landais, in the "Alliance", rendered no direct assistance, but hovered around, firing occasional shots, which the American seamen always declared were aimed at their vessel and not at their enemies. The crisis came at last, when some sailors on the main-yard of the "Richard" succeeded in dropping hand-grenades through the open hatchways of the "Serapis" upon the men at work there. One of these grenades fired some loose powder, which was followed by the explosion of a powder-chest, which demoralized all the crew in that part of the vessel. Pearson was obliged to surrender. But so close and so confused had been the action that it is said that his first officer, when he heard the cry "She has struck!" believed that it was their antagonist that had surrendered, so confident was he still of victory.
Jones carried the prizes, the "Serapis" and the "Scarborough", into the Texel, in Holland. The "Richard" was so damaged that she sank the day after the battle.
It may readily be imagined that this exploit, by which two English men-of-war were carried away in triumph under the very eyes of the people of Scarborough, excited immense attention in all Europe. Jones[579] was the hero of the hour. He was literally crowned with laurel at the theatre, and the French government made him the most flattering proposals with a view to his taking command in their service. Jones himself and all his officers were mad with rage at the conduct of Landais. Nothing but the enthusiasm of the alliance between the two nations had made him the commander of an American frigate. Franklin and Jones would have been glad to try him by court-martial, but this proved impossible. He was sent home in the "Alliance", and on the way became evidently insane. All necessities of a court-martial were thus avoided.[1246]
This ill-success of Landais was a good enough illustration of the danger of entrusting seamen of one nation to a commander from another. Either this danger or some other consideration prevented the French government from employing Jones. But the hope of such service was so constant with him that he took no command from the government of the United States for some time. And thus his service, which might have been of great importance, was lost, while he was dangling in antechambers.
These conflicts on the coast of Europe attracted, as has been said, more of the attention of Europe than the naval battles between England and America in other seas. But the years 1777 and 1778 had not passed without frequent naval engagements on the American coast, some of them of considerable importance. In May, 1777, Manly took the "Hancock" and "Boston", frigates from the port of Boston, with which he captured the English frigate "Fox." The three vessels looked into the harbor of Halifax, and drew into action the "Rainbow", the "Flora", and the "Victor", a superior force. The two smaller American vessels escaped, but the "Hancock" was sacrificed.
The "Raleigh", one of the thirteen frigates built for the Continent, had, as the reader knows, made a successful cruise in the end of 1777. The next year, with the "Alfred", one of the little favorites in the beginning of the war, she sailed from France. Both vessels were overtaken by a superior English force, and the "Alfred" was lost, though the "Raleigh" succeeded in reaching Boston. At that time most of the naval force of the Congress was in Boston harbor. It consisted of but three vessels, the "Warren", the "Raleigh", and the "Deane", each of thirty-two guns. The State of Massachusetts had in the same harbor the "Tyrannicide", the "Independent", the "Sampson", and the "Hancock", of fourteen guns and of twenty. But besides this little fleet, so insignificant in itself, hundreds of privateers were afloat, many of them of force nearly equal to the largest of the vessels which have been named.
It had been the hope of Franklin in Paris, of Paul Jones, his naval adviser, and of the court to which they both gave counsel, that D'Estaing's fleet might arrive off Delaware Bay in time to shut up the English fleet there. The same issue was feared in England.[1247] But D'Estaing was just too late.[580] He arrived on the 7th of July off the capes; he only landed his passengers, Deane, and Gérard, the new French minister, and without even watering his fleet followed the English fleet to New York. Had he entrapped them in the Delaware, a crisis like that of Yorktown might have come three years earlier.
But the harbor of New York was too well protected by the intricacies of its channels to make an attack possible. D'Estaing remained in the offing off Sandy Hook for some days, and then bore away for Newport. His coöperation with the army of Sullivan is described in another place.[1248]
A full letter from Cooper to Franklin exists among the Franklin papers,[1249] which gives D'Estaing's own view of the transactions which followed, and that view is probably substantially correct. When he threatened the English fleet in New York Bay, it consisted of six ships of the line, six fifty-gun ships, two of forty-four guns, with smaller vessels. When he entered Newport Bay the English burned the "Orpheus", the "Lark", the "Cerberus", and the "King-Fisher",—of various force, from thirty-two guns to twenty,—and several smaller vessels. When, in conjunction with Sullivan, D'Estaing attacked the town, the English burned the "Grand Duke" and the "Flora", of thirty-two guns, with fifteen transports. While he was in Newport Bay, Byron's English fleet reinforced the fleet in New York, and they were now strong enough to retaliate on D'Estaing and give to him the challenge which he had so lately given to them. With a fleet of thirty-six sail, fourteen of which were double-deckers, they appeared off Newport.
D'Estaing was not averse to a contest. On the 10th of August, with the advantage of a fresh north wind, he took his squadron to sea. The English admiral, Howe, slipped his cables and went to sea also. D'Estaing did not avoid a battle, and, in the gale which followed, engaged the rear of the English fleet. But his own flag-ship, the "Languedoc", was dismasted in the gale, and, after communicating with Sullivan again, he went round to Boston to refit.
Samuel Cooper, in writing the letter to which we have alluded, is well aware that there was some popular disappointment because the Count D'Estaing had not done more. But he resumes the whole by saying: "The very sound of his aid occasioned the evacuation of Philadelphia by the British army; his presence suspended the operation of a vast British force in these States, by sea and land; it animated our own efforts; it protected our coast and navigation, obliging the enemy to keep their men-of-war and cruisers collected, and facilitated our necessary supplies from abroad. By drawing the powerful squadron of Admiral Byron to these seas, it gave security to the islands of France in the West Indies, an equilibrium to her naval power in the Channel, and a decided superiority in the Mediterranean."
When it is remembered that, in the events of the summer and autumn,[581] the English lost twenty vessels in their collisions with D'Estaing's fleet, it must be granted that its exploits were by no means inconsiderable.
Of the American ships which have been spoken of, the "Raleigh" was the only one which was seriously engaged in this year. She put to sea on the 25th of September, with a small convoy. Before night she was pursued by two cruisers of the enemy. Barry, the commander, ran his ship on shore and saved his officers and men; but the "Raleigh" was floated by the English and taken into their service.[1250]
Meanwhile, in adventures which separately do not claim the dignity of historical narrative, the public and private cruisers from New England so swept the ocean that they sent into Boston most of the provision ships intended for the English army in New York. D'Estaing was able to leave Boston on the 3d of November for an expedition to the West Indies, with a fleet provisioned with the very stores which had been provided for his enemies. His vessels had been thoroughly repaired, cleaned, and sailed in good condition, and well fitted for the important duty assigned to them.
Early in 1779 the "Alliance" was fitted out for France, from Boston, to take General Lafayette on an important mission home. She was under the command of Pierre Landais, of whose misbehavior afterwards, in the battle of the "Serapis", the reader has been informed. Landais was already so unpopular that American sailors would not enlist under him, although the "Alliance" herself was a favorite vessel. Lafayette was, however, eager to be on his way, and at his urgent instance a crew was made up by accepting the services of English seamen, prisoners of war, who had been taken when the "Somerset" was shipwrecked on Cape Cod. As might have been expected, a mutiny was planned before she reached France; but it was fortunately revealed by an Irish seaman who was loyal to his new country. Passengers and officers united in confining the mutineers, and the ship was safely brought to France. She was a fine, new, swift vessel. Seamen liked her, though they disliked Landais. Another crew was obtained for her, and it was thus that she sailed with Paul Jones. It has been more convenient to speak of her after-history as we described transactions in the European waters.
In April, a squadron of three vessels, commanded by Hopkins in the "Warren", sailed from Boston and overtook a fleet of transports and store-ships which Clinton had sent from New York to Georgia. Hopkins captured eight out of ten vessels, of which three were armed. By this brilliant success the Americans took as prisoners twenty-four officers and a large number of private soldiers.
In the same summer, Whipple, one of the old commanders, in the "Providence", fell in with a large convoy of English merchantmen bound from the West Indies to England. The American officer disguised his vessel, or concealed her character, so that he boldly entered the fleet as one of their number. As night fell, on each of ten successive days he boarded and captured some vessel from the convoy, and eight of the prizes thus taken arrived in Boston. Their cargoes were sold for more than a million dollars, and the bold venture is spoken of as the most successful pecuniary enterprise of the war.
Early in the same year, Hallett, in the "Tyrannicide", a cruiser of the State of Massachusetts, took the "Revenge", a privateer cruiser from Jamaica.[1251] In the same summer, John Foster Williams, in the Massachusetts cruiser "Hazard", engaged the "Active", an English vessel with a larger force, with success. He was then transferred to the "Protector", a ship of twenty guns, in which he engaged the "Duff", an English privateer, which blew up after an action of an hour.[1252]
These successes, perhaps, stimulated the State of Massachusetts to attempt an enterprise which proved the most unfortunate in her military history, and was the end of her separate state naval force. John Foster Williams, who had commanded the "Protector", was very popular, and he was placed at the head of the state squadron, consisting of the "Tyrannicide", the "Hazard", and the "Protector", fitted out by the State against the English post at Penobscot, which was then within her own borders. The state authorities obtained from Congress, as an accession to their own force, the "Warren", the "Diligent", and the "Providence", which were nearly all that were left of the Continental navy. Some privateersmen joined the expedition. The whole naval force was placed under Saltonstall, who had a Continental commission. The land force consisted of 1,500 militiamen. This little force landed near the end of July; but Lovell, the land commander, thought his force insufficient, and sent for reinforcements. While they were waiting, Sir George Collier appeared with five English vessels. Saltonstall did not dare engage them, and ran his own ship, the "Warren", on shore and burnt her. Most of the other vessels followed his example, and the rest were captured by the English. The crews, with the land forces, abandoned the expedition, and returned to Boston by land.
The national navy of the United States was thus reduced to the very lowest terms. Of the few vessels left, four were taken by the English when they captured Charleston, namely, the "Providence", the "Queen of France", the "Ranger", and the "Boston." Nor had Congress much enthusiasm for replacing them. In the first place, Congress had no money[583] with which to build ships; and in the second place, the alliance with France gave it the use of a navy much more powerful than it could itself create.[1253] It was also clear enough that the great prizes to be hoped for in privateering gave a sufficient inducement to call out all the force the country had for naval warfare. The history of such warfare can never be written, but the damage which the privateers inflicted upon the enemy's commerce was such that the mercantile classes of England became bitterly opposed to the war. On the other hand, it has been said, and probably truly, that New England, the home of the privateers, was never more prosperous than in the last years of the Revolution, so large were the profits made in privateering enterprises.
TUCKER'S PAROLE, May 20, 1780.
From the Tucker Papers, in Harvard College library. He commanded the "Boston" when surrendered.
After the fall of Charleston, the principal vessels left in the national navy were the "Alliance", the "Hague", formerly the "Deane", the "Confederacy", the "Trumbull", the "Saratoga", and the "Ariel." In February, 1781, the "Alliance" crossed to France, and started to return with the "Marquis de Lafayette", a ship of forty guns, laden with a very valuable cargo of stores for the government. A few days after, she took the "Mars" and the "Minerva", heavily armed privateers, and then parted from her consort. The "Lafayette" was captured soon after, to the great distress of the American army, which needed her stores; but the "Alliance" completed her cruise, and, on the 28th of May, captured the "Atalanta" and the "Trepasy", two English cruisers. The "Atalanta", however, was subsequently taken by an English squadron. The "Confederacy", which was launched in 1778, was captured by the English in the West Indies, on the 22d of June. Captain Nicholson, in the "Trumbull", after a romantic series of adventures, surrendered to the "Iris" and the "Monk" in August of the same year. The "Congress" in September captured the sloop-of-war "Savage." In the next year, which was the last of the war, the "Alliance" made a cruise in which she maintained her reputation. The "Hague", the only frigate which remained to the nation, having been given to Manly, whose success in the beginning of the war gave such joy to Washington and his army, "this officer in a manner closed it", as Fenimore Cooper says, "with a very brilliant cruise in the West Indies."
The signal success of Count de Grasse in blocking up Lord Cornwallis in the Chesapeake, and the history of his engagements with Rodney and others, belong more properly to another chapter of this history.[1254]
It is a misfortune for the history of this country that no intelligent man in New England interested himself in the systematic history of the privateer enterprises of the United States in the Revolution while the seamen lived who engaged in them. But no such person undertook this historical work, and the materials do not now exist from which it could be thoroughly done. Some details noticed by authors of the time excite attention and surprise as they reveal the magnitude and number of the prizes made by the privateers. Such is the statement, cited above, that the prizes sent in by Whipple in one cruise exceeded one million dollars in value. Hutchinson, in his diary, reports the belief that seventy thousand New Englanders were engaged in privateering at one time. This was probably an overestimate at that moment. But it is certain that, as the war went on, many more than seventy thousand Americans fought their enemy upon the sea.[585] On the other hand, the reader knows that there was no time when seventy thousand men were enrolled in the armies of the United States on shore.[1255]
In the year 1781 the privateer fleet of the port of Salem alone consisted of fifty-nine vessels, which carried nearly four thousand men, and mounted seven hundred and forty-six guns. In 1780 the Admiralty Court of the Essex district of Massachusetts, which was the largest of the three admiralty districts, had condemned 818 prizes. It must not be supposed that other districts were insignificant. In the single month of May, 1779, eighteen prizes were brought into New London.
As has been said, there seems to be no method of making any complete computation of the magnitude of the privateer fleet at any one time. But an incomplete list in the Massachusetts Archives of those commissioned in that State gives us the names of two hundred and seventy-six vessels. As the reader has seen, the fleets from Rhode Island, Connecticut, and Philadelphia were also large. It would probably be fair to say that between the beginning and end of the war more than five hundred privateers were commissioned by different States. The magnitude of the injury inflicted upon the English trade by these vessels may be judged by such a comparison as is in our power of the respective forces. In the year 1777 the whole number of officers and men in the English navy was eighty-seven thousand. Although Hutchinson's estimate is probably an overestimate, it is to be remembered that, as the reader has seen, there were at the same time very considerable naval forces in the employ of the several States and of the United States government. This would seem to show that, man for man, the numerical forces engaged by the two parties were not very much unlike. In the Atlantic Ocean, the Americans seem to have outnumbered the English.
After the navy of the United States, which was officered and built or purchased by Congress, the largest separate force was that of the State of Massachusetts. So soon as O'Brien and his friends seized the "Margaretta", as has been told, the provincial government took her into its service, and christened her the "Liberty", keeping her at first under the care of O'Brien.
For the first five years of the war, Massachusetts was governed by a committee of the Council. Many of the members of this committee, from time to time, were Boston merchants, of large experience in maritime affairs. The State was acting as an independent sovereignty. It contributed to the resources of its allies, the other States in the confederation, but none the less did it carry on war against the common enemy. It would sometimes happen that the State needed to make a remittance to France in its purchase of military stores. If the market were favorable, the merchants on the council boards would arrange for the purchase or[586] charter of a vessel on State account, and the State bought and sent to Europe the freight by which it made its payments to its agents. The naval archives of the commonwealth are therefore a curious mixture of warlike operations and of commercial adventure. It will sometimes happen that the vessel which appears in one month as a cruiser, officered and manned for war by the authority of the State, shall appear in another month as a merchantman, freighted for a foreign port and intended to bring home a cargo to be sold to the credit of the State. An interesting instance of the promptness of the government was its readiness in taking up and fitting for use a little brigantine which carried to Franklin, in Paris, the first news of Burgoyne's surrender. Paul Jones hoped, as has been seen, to carry out the same news in the "Ranger" from Philadelphia; but although his passage was but twenty days in length, he did not arrive at Bordeaux till the same day on which Austin, the messenger of Massachusetts, was telling the great news to Franklin and the commissioners at Passy.[1256]
The navy of Massachusetts, between the beginning and end of the war, numbered at least thirty-four vessels. One or two of these were vessels which ranked in the language of that day as frigates. The finest and largest of them was the "Protector", built on state account at Salisbury, Mass., where the fine frigate "Alliance", which proved so successful and popular, was also built, almost at the same time. It may be said, in passing, that the names of the New England vessels showed very distinctly that men had not yet lost the traditions of their ancestry. The "Tyrannicide" was a favorite cruiser in the state navy, and the action which has been spoken of, in which she took the "Revenge", was one of the best fought battles of the war. The "Oliver Cromwell" was a Massachusetts privateer, and the name of the "Hampden" appears twice on the lists of those days. The keel of the "Protector" was laid in 1778, and she sailed first in 1780. But she was also one of the unfortunate squadron destroyed in the Penobscot. The failure of the well-planned but disastrous expedition to that river resulted in the destruction of all the important vessels belonging to the State.
We have only a partial catalogue of the privateers commissioned by the State between 1775 and 1783. It is sometimes difficult to draw the line between state cruisers and privateers, and it will sometimes happen that a vessel which has one year been chartered by the State, and officered in her commission, falls back the next year into the hands of her owners, and is equipped and fought by them under a privateer's commission. In this list there are rather more than three hundred names of separate vessels. Of the privateersmen sent out from Salem there is a separate list. Between[587] the beginning and end of the war, the Salem vessels alone numbered nearly one hundred and fifty. The Massachusetts Archives give a list of three hundred and sixty-five, as commissioned and belonging in Boston. If we had lists, equally full, of the privateers which sailed from Falmouth (Portland), from the Merrimac, from Marblehead, from Falmouth, Dartmouth, Plymouth, Barnstable, and the other towns on Cape Cod, it is probable that we should enlarge the list of Massachusetts privateers so that it should include more than six hundred vessels. It is to be remembered that all the regular operations of the fishing fleet were stopped, and that therefore, in every town on the coast, there were vessels and men ready for service, and very easily commissioned if a spirited commander appeared. To this number must be added the considerable list of what were virtually New England privateers among the vessels commissioned in France by Deane and Franklin.
The largest of these privateers, at starting, carried one hundred and fifty men. Such an exploit as Whipple's, which has been already recorded, would have been impossible unless he had as many as ten prize crews on his vessel, of fifteen men each. With each prize sent in, the fighting force of the captor was reduced, and in such reduction is the reason to be found why we often find that at the last a privateer captain was not able to fight his own ship, and, after he had sent in many prizes, was himself taken. On the other hand, the smallest of these vessels, equipped for short cruises, carried but few guns and few men.
Mr. Felt's statement of the privateer force of Salem and Beverly at the end of the war gives a total force of fifty-nine ships, carrying four thousand men. This would give an average of about sixty-six men to a vessel. The general estimate is higher, and we suppose that the average crew of a Massachusetts privateer, when she sailed, was about one hundred men.
If this estimate is correct, we must modify Hutchinson's statement so far as to say that, sooner or later, Massachusetts alone probably sent sixty thousand men out in warfare upon the seas. Rhode Island, New Hampshire, and Connecticut probably sent twenty thousand more. Next to this fleet was that of the Delaware; next to that, the privateers commissioned in France; and to these must be added those from the Chesapeake and more southern waters.
The number of seamen and officers employed by the Continental Congress was probably largest in the earlier years of the war. No papers now exist which give full returns of this force. But it would probably be fair to estimate it as varying in different years from five thousand to ten thousand men. The several state navies represented, perhaps, as many more.
When one considers these forces in the privateer fleet and the national and state navies, the English force opposed seems surprisingly small. We have the official returns of the officers and men in the whole English navy for every year of the contest. The number comes up to 87,000, after England was well engaged with America, France, and Spain. But of this fleet[588] a very considerable part was in the East Indies and on other stations. Almon's Remembrancer says distinctly that the number of men engaged against the colonies at sea in 1776 was 26,000. It is very sure that in that year the colonies had many more men at sea engaged against England. There were some English privateers; but their number was not considerable.
A comparison between the military and naval forces of America in the Revolution shows that the navy, in its various forms, embodied almost as many men as the army, and sometimes, indeed, more.
In a report sent by General Knox to Congress on the 11th of May, 1790, he gives the number of men actually in the Continental army year by year, the number of militia called out from time to time, and the number of men demanded in the quotas fixed by Congress. The last figures are of no great importance now, though they have some historical curiosity. The others exhibit the forces for seven years, thus:—
| Continentals. | Militia. | |
| 1775 | 27,443 | 37,623 |
| 1776 | 46,891 | 42,760 |
| 1777 | 34,820 | 33,900 |
| 1778 | 32,899 | 18,153 |
| 1779 | 27,699 | 17,485 |
| 1780 | 21,015 | 21,811 |
| 1781 | 33,408 | 16,048 |
| 1782 | 14,256 | 3,750 |
| 1783 | 13,476 | No militia. |
A curiously extravagant estimate of the extent of the continental forces engaged has been commonly set forth by adding these yearly figures, a process which takes no recognition of the fact that a man serving through three years, for instance, is counted in each year. The history of this confusion is traced in a paper by Justin Winsor in the Mass. Hist. Soc. Proc., Jan., 1886.—Ed.
It is to be observed that the number of militia stated here is largely conjectural; and in no instance were the men called out in service for any considerable time. A comparison of these figures with figures quite as authentic, which give the number of men who were afloat year by year for purposes of offence, either in the national or state navies, or in larger numbers in privateers, will show that, in some of the later years of the war, this naval service enlisted a larger number of men than were serving in the army. Indeed, as has been shown, Great Britain appears to have often had more American enemies afloat on the Atlantic than she had seamen and officers of her own upon that ocean.
The earliest account of the Revolutionary navy was in Thomas Clark's Naval History of the United States from the Commencement of the Revolution (Philad., 1813; second ed., 1814), in two volumes.
Chas. W. Goldsborough's United States Naval Chronicle, bringing the story down to 1822, was printed in Washington in 1824.
In 1828 there appeared at Brooklyn, N. Y., a General View of the rise, etc., of the American Navy,—a book of little importance.
The most important of all the accounts is the Naval Hist. of the United States, by James Fenimore Cooper, first published in Philadelphia in 1839, and in a second edition in 1840. In some respects, relating to the war of 1812, Cooper's views have been called in question; but his story of the Revolutionary navy is the result of investigations that have not, on the whole, been improved upon.[1257] Cooper gives a list of the Continental cruisers, with the fate of each; and Lossing, in the summary of the Revolutionary naval history in his Field-Book, ii. 851, copies this list. An official and authentic record, with no attempt at a readable narrative, is found in G. F. Emmons's Navy of the United States, 1775-1853, with a brief history of each vessel's service, to which is added a list of private armed vessels, previous and subsequent to the Revolutionary War (Washington, 1853, published under authority of the Navy Department). The book contains a list of captures during the Revolution, both by public and private armed vessels.
On the British side, the earliest connected narrative is that in the fourth and fifth volumes of Robert Beatson's Naval and Military Memoirs of Great Britain, 1727-1783 (London, 1804). Among the later books are C. D. Yonge's Hist. of the British Navy,[1258] and Allen's Battles of the British Navy.[1259]
I. Paul Jones.—In respect to the lives of Paul Jones, Sabin's (ix. nos. 36,546, etc.) enumeration includes many anonymous and unimportant ones not now to be mentioned. The earliest biography of any original authority was one issued at Washington in 1825 (second ed. 1851), Life and Character of John Paul Jones, by John Henry Sherburne, register of the U. S. navy, and this was reprinted in an abridged form at London, the same year as The life of Paul Jones from original documents in the possession of John Henry Sherburne, register of the Navy of the U. S. This life was based upon documents in the naval archives of the government, upon some letters contributed by Thomas Jefferson, and upon some papers brought to light in a baker's shop in New York (No. Amer. Rev., Oct., 1826, p. 292). These papers had been left by Jones, when he went to Europe, in the hands of his friend Ross, of Philadelphia. At Jones's death, and on his heirs' orders, these papers were handed over to Robert Hyslop, and, upon[590] this gentleman's death, came into the charge of his cousin, John Hyslop, the baker, in whose shop they were found by Mr. George A. Ward, of New York, by whom they were put at Sherburne's disposal. This biographer, hearing of other papers in Scotland, applied for them, but was refused, as it was intended to use them in another memoir. This other narrative appeared as Memoirs of Rear Admiral Paul Jones, now first compiled from his original journals and correspondence (Edinburgh, 1830, in 2 vols.; London, 1843, in 2 vols.). The author of it referred rather slightingly to the New York MSS. as "a few fragments", and claimed that Jones took to Europe the essential part of his papers, which by his will passed to his sisters in Scotland, and eventually to his niece, Miss Janette Taylor, of Dumfries, who possessed several bound volumes of them, beside other loose papers. Some of Jones's papers are in the possession of J. C. Brevoort, of Brooklyn; others are among the Force Papers in the library of Congress; and others in the Lee Papers in the libraries of Harvard College and of the University of Virginia. Franklin's letters to him are in Sparks's ed., vol. viii. The Taylor MSS. were the original material mentioned in the title of this Edinburgh edition, which was reprinted, under the editing of Robert Sands, in New York (1830) as The life and Correspondence of Paul Jones from original letters and manuscripts in the possession of Miss Janette Taylor. The Sparks Library has a copy of this book, with Miss Taylor's MS. annotations. Based upon the same material, but with some alterations and additions, was the Life of Rear Admiral John Paul Jones, compiled from his original Journals and Correspondence (Philad., 1845, 1847, 1853, 1858, 1869), which appeared under the editing of B. Walker. The Life of Paul Jones by Alexander Slidell Mackenzie (Boston, 1841, in two vols.) was written at the instance of Jared Sparks, and its merit is that it has sifted all the existing material, making a more readable and better constructed narrative than the others. Mackenzie acknowledges his use of the preceding lives, but says he has used guardedly a Memoir of the Life of Capt. Nathaniel Fanning, an American naval officer, who served during part of the American Revolution under Commodore John Paul Jones (New York, 1808), which is known in another edition as A narrative of the Adventures of an American Naval Officer (New York, 1806). Fanning is said to have been Jones's private secretary, though he is also spoken of as a midshipman on the "Bon Homme Richard." Thomas Chase, of Chesterfield, Va., published Sketches of the life, character, and times of Paul Jones (Richmond, 1850), which is of small extent, and in part derived from stories told by the author's grandfather, who had served with Jones.
A French Mémoire de Paul Jones (Paris, 1798) purports to be a translation under his own eyes, by "Citoyen André", of a narrative written by Jones himself. Poole's Index, p. 695, gives various periodical references to articles on Jones; and his career is the subject of J. F. Cooper's novel of The Pilot, and of its sequel, Dumas' Capitaine Paul. Cf. Herman Melville's Israel Potter. The Rev. E. E. Hale gives a chapter (no. xiv.) to his career in his Franklin in France.
For Jones's services in the "Ranger", see, beside the lives of Jones, the Annual Register (xxi. 176); Parton's Franklin (vol. ii.); a journal of Dr. Ezra Green in the N. E. Hist. and Geneal. Reg., 1875, edited by Admiral Preble (whose own copy with additions is in the Mass. Hist. Soc.). A log of the "Ranger" is cited as belonging to a gentleman in Greenock in 1830; and one, Aug. 24, 1778, to May 10, 1780, is printed in the Granite Monthly, v. 64. The Memoirs of Andrew Sherburne, a pensioner of the navy of the Revolution (Utica, 1828; Providence, 1831) covers the service of a lad on the ship.
Of the remarkable fight of the "Bon Homme Richard" and the "Serapis" we have Jones's account in his letter from Texel to Franklin, also transmitted to Congress; the narrative of Dale, his lieutenant; and the letter sent to the admiralty by Capt. Pearson, of the English ship. These are given by Sherburne, the Edinburgh editor, and others. The account in Cooper's Naval History passed under the eye of Dale. The log-book of the "Richard" was in 1830 in the possession of George Napier, of Edinburgh. The statements about the progress of the fight are somewhat contradictory, and Dawson (Battles, 554) collates them. A letter of Jones to Robert Morris, Oct. 13, 1779, is in the N. Y. Hist. Coll., 1878, p. 442. Beside the accounts in the lives of Jones and the general histories, see Parton's Franklin (ii. 335); Analectic Mag. (vol. viii.); Allen's Battles of the British Navy; J. T. Headley's Miscellanies. The effect in England is depicted in Albemarle's Rockingham and his Contemporaries (ii. 381). The story of the flag of the "Bon Homme Richard" is told by Admiral G. H. Preble in his Three Historic Flags (N. E. Hist. and Geneal. Reg., Jan., 1874, and separately with additions, Boston, 1874,—the author's annotated copy being in the Mass. Hist. Soc.). There is a contemporary print of the fight by Peltro, after a painting by Robert Dodd (London, 1781). Cf. Barnard's Hist. of England, p. 693.
Jones accused Landais, who commanded the "Alliance", of failure to afford assistance, and of even firing into the "Bon Homme Richard." Landais published a Memorial to justify Peter Landais' conduct during the late war (Boston, 1784), and a Second Part (New York, 1787?),[591] being his defence against the specifications of Charges and proofs respecting the conduct of Peter Landais (New York [1787]). Landais' quarrel with Jones and his subsequent career are traced in Hale's Franklin in France, ch. xvii. For Landais' claims on government, see B. P. Poore's Descriptive Catal. of govt. publications, pp. 61, 67, 82, 94; and Jones's claims can be traced in Ibid. Cf. Journals of Congress, iv. 796.
The Diplomatic Correspondence (vol. i.) shows the complications which the harboring of Jones and his prizes in Holland caused. For titles on this point, see Sabin (ix. 36,562, etc.) and Muller, Books on America (1872), p. 187, and nos. 1,181-1,187. The difficulty occasioned by the captures of Wickes and Conyngham, and their efforts to refit in French ports, as well as those of Jones, are set forth in Hale's Franklin in France.
II. Privateering.—The Provincial Assembly of Massachusetts, Nov. 13, 1775, authorized private-armed vessels to cruise, and established a court for condemning their prizes,—the law being drawn by Elbridge Gerry (Austin's Gerry, i. 92, 505; Barry's Mass., iii. 58, and references; Sparks's Washington, iii. 155; Frothingham's Siege of Boston, 261; Gent. Mag., Jan., 1776; Almon' s Remembrancer, ii. 149). For the provincial legislation, see Goodell's Provincial Laws, vol. v., under "Admiralty", "Letters of Marque", "Armed Vessels", and "Privateers", in the index.
For the early captures, see Siege of Boston, 269, 272, 289, 308; Adams's Familiar Letters, 208, 220, 230. Abigail Adams wrote, Sept. 9, 1776, "The rage for privateering is as great here as anywhere, and I believe the success has been as great" (Familiar Letters, 226). The Massachusetts Archives show how large the number of privateers was that hailed from that State. Cf. Mem. Hist. Boston, iii. 118, with references; and the Report on the Mass. Archives (1885), pp. 25, 27-29, 31, 34. Cf. a letter of Thomas Cushing on the building of armed vessels in Mass., in Penna. Mag. of Hist., Oct., 1886, p. 355; and a list by Admiral Preble of those fitted out in Massachusetts, 1776-1783, in N. E. Hist. and Geneal. Reg., Oct., 1871. After Boston, the most activity was in Salem. Cf. extracts from Salem Gazette, quoted in A. B. Ellis's Amer. Patriotism on the Sea (Cambridge, 1884, and Mass. Hist. Soc. Proc., Jan., 1884); Annals of Salem, by J. B. Felt; Curwen's Journal, 589; W. P. Upham's General Glover; life of E. H. Derby in Hunt's Amer. Merchants, vol. ii; T. W. Higginson, in Harper's Monthly, Sept., 1886.
The records of the proprietors of the New Hampshire privateer "Gen. Sullivan" (1777-1780), showing how the business part of such enterprises was conducted, and the instructions given to commanders, have been printed by Charles H. Bell in the N. E. Hist. and Geneal. Reg., 1869, pp. 47, 181, 289. Correspondence of Josiah Bartlett and William Whipple on privateering is in Hist. Mag., vi. 73.
Concerning the Rhode Island privateers, we have William Paine Sheffield's Rhode Island privateers and privateersmen (an address, Newport, 1883); and an account of the privateer "Gen. Washington", in E. M. Stone's Our French Allies, p. 275. (Cf. Arnold's Rhode Island, etc.) Newport is thought to have furnished more seamen than any port except Boston.
For those of Connecticut, see N. E. Hist. and Geneal. Reg., 1873, p. 101; and on the whale-boat warfare, of which a large part was on Long Island Sound, see Mag. of Amer. Hist., March, 1882, p. 168; N. Y. Evening Post, July 18, 1853 (quoted by Ellis); Lossing's Field-Book, ii. 851; Onderdonk's Rev. Incidents of Long Island, i. 170-234. Cf. also F. M. Caulkins's New London, ch. 31; Hinman's Conn. during the Rev., 592. The British expedition to Danbury was offset by the incursion of Connecticut whale-boats (May, 1777), under Return Jonathan Meigs, to Sag Harbor, where captures were made and shipping burned. Cf. Hildreth's Pioneer Settlers of Ohio, 532; Sparks's Washington, iv. 440; Mag. of American History, April, 1880. Judge Jones (N. Y. during the Rev.) asperses Meigs's character, and Johnston (Observations, etc., 23) defends him.
For those of New York, see N. Y. City Manual, 1870, p. 867. We know less about the privateers fitted out south of New York; but Robert Morris is said to have grown rich on the profits of such enterprises (Chastellux's Voyages, Eng. tr., i. 199, etc.). These ventures were far from uniformly successful, and the losses were many (cf. such instances as are detailed in Moore's Diary, i. 284, 316, etc.), but the losses inflicted by privateers on the British were vastly greater. Lecky (iv. 17) thinks that, though the allurements of such service helped to stay enlistments in the army, it was quite worth such a cost in the damage which the British suffered.
Congress first authorized privateers under Continental commissions March 23, 1776, and regulations were adopted April 2d and 3d,—Washington having made suggestions (Journals, i. 183, 296, 305; John Adams's Works, iii. 37). A collection of Extracts from the Journals of Congress relative to prizes and privateers was printed at Philad. in 1777 (Brinley, no. 4,112). For prize claims, see Poore's Descriptive Catalogue p. 1347; and for lists of prize cases, cf. Amer. Antiq. Soc. Proc., 2d ser., ii. 120.
We have various journals and narratives of cruises in privateers: the MS. Journal of Capt. J. Fish in the Amer. Antiq. Soc. (1776-77); Timothy Boardman's Log-book, kept on board the[592] privateer Oliver Cromwell, during a cruise from New London, Ct., to Charleston, S. C., and return, in 1778; also, a biographical sketch of the author, by S. W. Boardman, issued under the auspices of the Rutland County Historical Society (Albany, N. Y., 1885); Solomon Drowne's Journal of a cruise in the fall of 1780, in the private sloop of war Hope, with notes by H. T. Drowne (New York, 1872), and reprinted in The R. I. Hist. Mag., July, 1884; narrative of Capt. Philip Besom, of Marblehead, in Mass. Hist. Soc. Proc., v. 357.
PAUL JONES.
After the medal struck in his honor by Congress, to commemorate his victory over the "Serapis." Cf. Mass. Hist. Soc. Proc., xi. 299; Loubat's Medallic Hist. U. S.; Lossing's Field-Book, ii. 845; Gay's Pop. Hist. U. S., iii. 622; Thomas Wyatt's Memoirs of the Generals, Commodores, etc. (Phil., 1848, no. 23); John Frost's Pictorial Book of the Commodores (New York, 1845). Madison called Houdon's bust of Jones "an exact likeness." The familiar portrait by C. W. Peale represents him full face, with chapeau, has been engraved by J. B. Longacre, and is in Sherburne's Life of Jones. For a contemporary English print, see J. C. Smith's British Mezzotint Portraits, v. 1735.
Respecting the international complications occasioned by the privateers, see the Diplom. Corresp. of the Rev. Capt. John Lee, of Marblehead, carried some prisoners taken from prizes, which he had sent home, into Bilbao in 1776, where he was put under arrest; but the news of the Declaration of Independence arriving at Madrid, he was discharged (George Sumner's Oration at Boston, July 4, 1859, p. 12; Dipl. Corresp., i. 53). The Grantham correspondence, copied in the Sparks MSS. (no. xxiii.), shows much on these complications. The histories of American diplomacy in Europe at this time necessarily cover these points; and the copies of the Lord Stormont and Sir Joseph Yorke Papers, among the Sparks MSS., show the complications which the ministers of England had to encounter in France and Holland. E. E. Hale's Franklin in France has a chapter on the American privateers sailing from Dunkirk. On the participancy of Franklin and Deane in the movements of the privateers, see Parton's Franklin, ii. 239. There were instances of privateers being retaken by their prisoners and carried into England (P. O. Hutchinson's Gov. Hutchinson, ii. 86).
III. The Rhode Island Campaign of 1778.—In 1776 all the entrances to Narragansett[593] Bay had been fortified, except the westerly, or that one lying between Conanicut Island and the western shore of the bay; and accordingly, in December of that year, Sir Peter Parker with a British fleet entered by this passage, and, passing round the northern end of Conanicut, landed Sir Henry Clinton and a force of British and Hessians on Rhode Island, and occupied Newport (New Hampshire State Papers, viii. 411, 431; Bancroft, ix. 200, 357. Cf. G. C. Mason on the English fleet in R. I. in the R. I. Hist. Soc. Coll., vii. 301). The Journals of Congress, ii. 233, show a proposition to send fire-ships against the British in August, 1777. The Americans, under the direction of a French engineer, Malmedy, completed at once the defences of all vulnerable points round the bay, and the chart of the bay, made by the English engineer Blaskowitz in 1777, shows what some of these points were. The American as well as the British defences are enumerated in Gen. George W. Cullum's Historical sketch of the fortification defences of Narragansett Bay (Washington, 1884). Cf. also his paper in Mag. of Amer. Hist., June, 1884. A section of Blaskowitz's map of the bay, 1777, given in E. M. Stone's French Allies, shows the defences of Providence.
CAPTAIN PEARSON.
D'Estaing, by reason of the draft of his heavier ships, had declined to risk entering New York harbor (Sparks, Corresp. of the Rev., ii. 155; Mag. of Amer. Hist., iii. 387). A sketch in the Montresor Papers (N. Y. Hist. Soc. Coll., 1881, p. 505) gives the positions of the English and French fleets, July 22, 1778, respectively, within and without Sandy Hook. When D'Estaing sailed to Newport, it was in pursuance of a plan contrived with Washington for the capture of that place and the British forces there. On July 29, 1778, D'Estaing anchored near Point Judith. Sullivan was now in command of about ten thousand men, largely militia, and under him were Greene and Lafayette commanding divisions, and they all were gathered about the head of the bay. Copies of Lafayette's letters during this campaign, made by him for Sparks, are in the Sparks MSS. no. lxxxiv. There were about 6,000 men under Maj.-Gen. Pigot in the Newport defences. On Newport in the hands of the British, see Hist. Mag., iv. 1, 34, 69, 105, 133, 172, and the Journal in Narragansett Hist. Reg., i. 28, 91, 167, 277. There was a small British fleet, mostly of thirty-two guns each, protecting their water-front. When on August 5 D'Estaing began to send his ships in, the British burned or sunk their ships. The plan agreed upon by the joint forces was to attack the British on August 10; but Sullivan had crossed his troops over to the island earlier than D'Estaing expected, since he found that[594] Pigot was drawing in his troops from the northern end of the island, and massing them nearer Newport, while the French troops had not yet landed so as to be ready to act in concert. This was the condition, when one morning, as the fog lifted, the English fleet of Howe was seen off the entrance of the bay. Some of the French ships were outside and exposed, and so D'Estaing promptly passed out to keep his fleet together and present his strongest front. Howe declined battle, because the French had the weather-gauge. A gale coming on, both fleets sought sea-room and were widely scattered, so that little fighting took place except as opposing vessels chanced to come together. The storm damaged both fleets equally, and each commander sought a harbor as best he could; Howe at New York, and D'Estaing at Newport.
COUNT D'ESTAING.
After a copperplate engraving of a picture by Bonneville.
The movements of the British fleet are followed in a Candid and impartial narrative of the transactions of the fleet under Lord Howe (London, 1779). Cf. also Sir John Barrow's Life of Richard, Earl Howe (London, 1838). In the Third report of the Hist. MSS. Commission, p. 124, there is noted a diary on the fleet, July 29-Aug. 31, 1778. There is an account of a participant on the French fleet, given in Moore's Diary, ii. 85. Paul Revere speaks of the storm as being[595] of unexampled severity (Mass. Hist. Soc. Proc., xiii. 251).
D'ESTAING.
From Andrews' Hist. of the War, London, 1785, vol. i. It is also engraved in Extrait du Journal d'un officier de la marine [Paris?], 1782 (two editions, but with different engravings). Cf. the portrait in Hennequin's Biographie Maritime (ii. 221); an engraving by Porreau in Jones's Georgia,] vol. ii.; Lossing's Field-Book, ii. 78, etc.
Meanwhile, on August 15, Sullivan began a movement down the island, and the British retired behind their two lines of defences. When D'Estaing reëntered the bay on the 20th, Sullivan had begun his approaches against the British works, but not wisely in plan, as General Cullum says. Sullivan urged D'Estaing to join in the attack; but that officer thought that his first duty, under his instructions, was to make the safety of his fleet sure, and accordingly did not dare risk, in his shattered condition, an attack from Howe, should the English admiral chance to have fared better in the gale, and have made ready to fall upon him. So D'Estaing told Sullivan he must go to Boston to refit, and on the 22d he set sail, expressing regret that Sullivan had been so precipitate in passing over from the main. He declared that he could not help the American general, and this purpose he insisted upon, despite the protests of Sullivan and his officers. The predicament of the American commander was certainly an unfortunate one, but he was not steady enough of head to refrain from publicly casting reproach on the French general, in an order which he found he must in part recall after the mischief had been done (Lodge's Hamilton's Works, vii. 557. Cf. Lafayette's letter to Washington in Sparks's Corresp. of the Rev., ii., Aug. 25; and a letter of Greene, in Ibid., Aug. 28; also Greene's Greene, iii. 148). Sullivan thus gave the militia an excuse for deserting him. While in front of the British works and in this condition, Sullivan got intelligence from Washington that Clinton had sailed from New York with reinforcements for Pigot. Beginning a retrograde movement on the 26th, Sullivan stopped at the northern end of the island and strengthened his position, while Lafayette made a fruitless visit to Boston to induce D'Estaing to return. That officer was not yet ready; his ships not yet repaired.
SIEGE OF NEWPORT, 1778.
From the map in the atlas of Marshall's Washington. Cf. E. M. Stone's Our French Allies, p. 68; and the map given in Diman's address on the capture of Prescott. A MS. plan of the attack on Rhode Island, Aug., 1778, is among the Faden maps (no. 88) in the library of Congress.
NEWPORT.
This plan, by Charles Blaskowitz, was published by Faden in 1777, and is here somewhat reduced. Cf. fac-simile in the Mag. of Amer. Hist., July, 1879. A MS. map of the mouth of Taunton River and Newport harbor, by Charles Blaskowitz, is among the Faden maps (no. 89) in the library of Congress. There is another plan by Des Barres, published April 24, 1776, and making part of the Atlantic Neptune. A plan of Newport and the bay is in the American Atlas, nos. 17 and 18. The British had contemplated founding a navy yard at Newport in 1764 (Rhode Island Hist. Mag., July, 1885, p. 42). Rider (Hist. Tracts, no. 6) gives a fac-simile of an old map.
Meanwhile, on the 29th, the British, who had followed Sullivan, began to press him, and some fighting took place. The centennial of this action was celebrated August 29, 1878, and S. S. Rider includes an account of it in his R. I. Hist. Tracts, vi. S. G. Arnold delivered the historical address. This book has also Sullivan's Report, Aug. 31st; Pigot to Clinton; and the German account from Eelking's Hülfstruppen, translated by J. W. De Peyster. Cf. also R. I. Hist. Soc. Proc. (1877-78), p. 88. A letter of Col. Trumbull, Aug. 20th, is in the Trumbull MSS., and the fight is described in his Autobiography. A letter of James Lanman, Sept. 16th, is in the Sparks MSS. (xlvii. p. 29). Cf. Lossing's Field-Book,[598] ii. 89, and Arnold's Rhode Island and other histories of the State, and of Newport.
The British strength on the island, Aug. 22d, is given as 6,860 men; and the loss in the action of the 29th is given at 207 in all. Sparks MSS., xlix. vol. iii.
As night fell, the Americans deceived Pigot into thinking them at work on their defences, when in fact they were crossing to the mainland by two ferries. An hour before midnight Lafayette got back from Boston, and found this retreat going on. He took at once charge of the rear-guard, and by midnight the entire army was rescued.
GENERAL SULLIVAN'S CAMPAIGN MAP, August. 9-30, 1778.
This follows a sketch in E. M. Stone's Our French Allies, p. 108, which is a reduction of the original (38 inches long,—scale, one inch to mile), given by Sullivan, after the retreat, to the government of Rhode Island, and discovered in the State House a few years ago.
Key: A, "American army under the command of the Hon'ble Gen'l Sullivan." B, "British lines." B L W, "British Lines and works." B A, "British Army. Order of March." "Here a severe cannonading and bombarding on both sides began Aug. 17, 1778, and continued till the 27th." C, "British Army. Order of Battle." D, "Daify Hill" is properly Durfee's Hill. Y, Turkey Hill. A H, Almy's Hill. O, "British redoubts", north of Easton's pond. Windmill. "Here the British army came up with the Light Corps of Gen. Sullivan, which was in advance Aug. 29th, 1778, 7 o'c'k A. M., when the battle of that day began." A B, "American batteries and covered way." R, Howland's Ferry. "Here the American army landed Aug. 9th, 1778, beginning after 6 o'clock A. M., and retreated the 30th in the evening."
The sentences above in quotation-marks are legends on the map at the points indicated. A letter of Sullivan, Oct. 25, 1778, respecting this map is in the Trumbull MSS., iv. p. 181.
The conduct of Sullivan in this brief campaign has been much criticised, and Thomas C. Amory attempts his defence in the Mass. Hist. Soc. Proc. (Sept., 1879), vol. xvii. p. 163; and Mag. of Amer. Hist. (1879), vol. iii. pp. 550, 692. Cf. Amory's Sullivan, p. 70, and his papers in the R. I. Hist. Mag., 1884, p. 106; 1885, pp. 244, 271. Sullivan's general orders are in the Sparks MSS., no. xlvii., and in Upham's John Glover, p. 46. Letters of Sullivan are in Sparks MSS., no. xx., including his correspondence with Pigot; others are in the Trumbull MSS.; some to Laurens, Aug. 6th and 16th, in the Laurens Corresp. (ed. by F. Moore), pp. 116, 120. One of the miscellaneous volumes of MSS. in the Mass. Hist. Soc. library (Letters and Papers, 1777-1780) is mostly made up of the papers of Meshech Weare, President of New Hampshire, and they include various letters from Sullivan, Whipple, and others during this campaign.
The French side of the controversy with D'Estaing is given in Chevalier's Histoire de la Marine Française pendant la guerre de l'Indépendance Américaine, and in a Journal d'un officier de la Marine (1782). The correspondence of D'Estaing is in the Archives de la Marine at Paris, and copies of much of it are in the Sparks MSS. (lii. vol. i.) Arnold (Rhode Island, vol. ii.) used papers from these French archives.
Note.—This view of the action of August 25th, taken from Mr. Brindley's house, is from the Gentleman's Mag., 1779, p. 100. The key is wanting. Cf. Lossing's Field-Book, ii. 83, and Drake's New England Coast.
Note.—The map on the preceding page is sketched from a colored map belonging to the Lafayette copies in the Sparks collection at Cornell University, called Carte des positions occupées par les troupes Américaines après leur retraite de Rhode Island, le 30 août, 1778.
The contemporary English engraved maps of Narragansett Bay of the most importance are those published by Des Barres and Faden. That of Des Barres is called A chart of the harbour of Rhode Island and Narreganset Bay, published at the request of the Right Honourable Lord Viscount Howe, by F. F. W. Des Barres, 20 July, 1776, in two sheets, which subsequently made part of the Atlantic Neptune. It bears the following "Notes and references explaining the situation of the British ships and forces after the 29th of July, 1778, when the French fleet under the command of Count D'Estaing appeared and anchored off the harbour. The same day two French frigates went up the Seakonnet Passage. July 30th two French line-of-battle ships anchored in the Narraganset Passage, on which the king's troops quitted Connanicut Island. Aug. 5th the French ships came towards Dyer's Island where the British advanced frigates were destroyed and the seamen encamped. 8th, the rest of the French fleet came into harbour and anchored abreast of Gold Island [small island south of Providence Island], upon which the king's troops withdrew within the lines [north of Newport]. 9th, the enemy's forces landed." It places the sinking and burning of the "Alarm" (10 guns), "Cerberus" (28), "Juno" (32), "Kingfisher" (18), "Lark" (32), "Orpheus" (32), "Pigot" (8), "Spitfire" (8), "Flora" (32), and "Falcon" (18).
The Faden map was published July 22, 1777, and is entitled A Topographical Chart of the Bay of Narraganset, in the Province of New England, with all the Isles contained therein, among which Rhode Island and Connonicut have been particularly surveyed ... to which have been added the several Works and Batteries raised by the Americans, taken by order of the Principal Farmers on Rhode Island, by Charles Blaskowitz.
A marginal table gives the names of the farmers, and enumerates ten batteries, mounting one hundred and twenty-seven guns in all. The map is dedicated to Earl Percy.
A French reproduction of it. Plan de to Baie de Narragansett makes part of the Neptune Américo-septentrional, no. 6. It is given in fac-simile in the Mag. of Amer. Hist., July, 1879.
The Sparks Catalogue, p. 206, shows a "Map of the Nara Gansett Bay, by Lieut.-Col. Putnam, Jan. 7, 1776, presented to his Excellency, George Washington, Esq.;" but it is not among the maps at Cornell University.
There is in the British Museum a colored plan (1778) of Rhode Island and the adjacent islands and coast, made by Edward Page, second artillery (measuring 1 2-12 × 7 6-12 inches); and a colored view of Bristol Neck (1765).
Modern eclectic war maps of the bay are given in Lossing's Field-Book, ii. 80; Carrington's Battles, 456 (the last repeated in the R. I. Hist. Mag., 1884, p. 106).
The despatch of Pigot to his government is in the Gent. Mag., Nov., 1778, p. 537; in Dawson; in Rider's R. I. Hist. Tracts, vi.; in Newport Hist. Mag., ii. 253; in E. M. Stone's Our French Allies, p. 111. Cf. also paper of Aug. 31, to Clinton, in London Gazette, Oct. 15; Gent. Mag., Nov., 1778; Almon's Remembrancer; Stone's French Allies. See diaries at Newport in Hist. Mag., 1860, and Mrs. Almy's in Newport Hist. Mag., July, 1880. Stedman (ii. ch. 23, 24) tells the story.
The loyal wits had now their chance, and some of their effusions can be seen in Moore's Songs and Ballads of the Rev., p. 231. Wells (S. Adams, iii. 38) traces the effect of Sullivan's retreat on the country. Upon the general management of the campaign a committee of Congress reported, Aug. 7, on the early stages (Journals, iii. 9). An orderly-book of Glover's is in the Essex Inst. Hist. Coll. (vol. v.; cf. also i. p. 112), and another is noted in the Cooke Catal. no. 1,897. Maj. Gibbs' diary (Aug.) is in Penna. Archives, vol. vi. A diary of Manassah Cutler, who was a chaplain in Titcomb's regiment, is in E. M. Stone's Our French Allies, p. xv. Lafayette gave an account fifty years afterwards which is in the Hist. Mag., Aug., 1861. His letters to Washington are in Sparks's Corresp. of the Rev. (ii. 181, 196). Cf. also Sparks's Washington, v. 29, 40, 45; vi., etc.; Irving's Washington, iii. ch. 36; Marshall's Washington, iv.; Bancroft, ix. 209, 357; x. ch. 5; Greene's letter in Sparks's Corresp. of the Rev., ii. 188, and Greene's Greene, ii. 100, etc. A long letter of Dr. Cooper of Boston, Aug., 1778, to Franklin, defending D'Estaing's action, in Hale's Franklin in France, p. 183; Heath's Memoirs; John Trumbull's Autobiog. 51; Stuart's Gov. Trumbull, ch. 32; Williams' Gen. Barton, ch. 3; Arnold's Rhode Island, ii. 419; Barry's Mass., ii. 150; Hamilton's Republic of the U. S., i. ch. 17. There are rolls of the campaign in the Mass. Archives; and in N. H. Rev. Rolls, ii. 500, 508. Connecticut did not respond (Hist. Mag., ii. 7; cf. also iv. 145).
RHODE ISLAND, August, 1778.
Sketched from a colored plan among the Sparks maps at Cornell University, which follows a plan made for Lafayette. It is called Plan de Rhode Island avec les différentes opérations de la flotte Française, et des troupes Américaines, commandées par le Major Général Sullivan, contre les forces de terre et de mer des Anglais, depuis le 9 Août, jusqu'à la nuit du 30 au 31 du même mois, 1778, que les Américains ont fait leur Retraite.
Key: The British works are solid black, their troops diagonally black and white; the American works of open lines, and their troops shaded obliquely. The British in Newport were protected on the water side by batteries (3, 3, 3); on the land side by an inner line of defence (4) and an outer line (5, 6, 7, 8), with nine guns (8) commanding the water approach by Easton Pond. At the north end of the island they had works (16, 18, 20,—solid black) to resist attack from the mainland. Upon the entrance of the French fleet by the Newport batteries, the English evacuated these advanced posts, and some frigates were sent into the East passage (15) to protect the movements of the Americans, who, moving over to the island, threw up redoubts (17) to protect their first position, and erected a battery of two guns at 20 to cover their retreat across Howland's Ferry, should that become necessary. They now advanced, and on August 15th took position on the line 11, and began their approaches (9). The French had landed from the ships at 22, and joined the left wing under Lafayette. The redoubts on the extreme left and right of the line 11 were never completed. The fire from the parallels was kept up from the 19th to the evening of the 28th, when the retreat began, and the Americans in the night of the 28th, erected the breastworks (19, 19) flanking the abandoned British forts (18), and during the night of the 30th left the island by Howland's Ferry, while the British were at Turkey Hill (16). The position of the British fleet was at 1.
Sparks has added to the plan these references: 12, Overing's house, where Col. Barton captured Gen. Prescott; 13, guard-house; 14, round redoubt thrown up by the New Hampshire militia,—skirmishing commenced here under Col. Laurens; and 10, Bishop Berkeley's house. The broken lines are roads.
The most elaborate of the manuscript contemporary maps is one belonging to the Mass. Hist. Society, which is reproduced, full size, in the Proceedings of that society (vol. xx. p. 350), and is given in its essential parts in Gen. G. W. Cullum's Historical Sketch of the Fortification Defences of Narragansett Bay (Washington, 1884). It is on a scale of nearly an inch and a quarter to the mile, and is signed "J. Denison scripsit." The French fleet is represented as going out to join battle with Lord Howe's fleet, exchanging shots with the English shore batteries, which are more numerous than in the Lafayette map. The French ships in the East passage are shown as sailing out to sea, to join D'Estaing on his way to Boston. In the battle of the 29th, near Butt's Hill, English ships are drawn as engaging both the American right and a battery on the Bristol shore. The first line of the Americans stretches across the island in this order from west to east,—Livingston, Varnum, Cornell, Greene, Glover, Tyler. These are without the breastworks. Behind them are Lovell at the west, Titcomb between the abandoned British forts, with a reserve under West behind them.
There are general surveys in Carrington and Dawson; in Mag. of Amer. Hist., by J. A. Stevens, July, 1879; in Stone's Our French Allies (Providence, 1884), part iii. On the British side see the contemporary account in Gent. Mag., xlix. 101; the Tory account in Jones, N. Y. during the Rev., ii. ch. 12; the German in Ewald, Belehrungen, ii. 249; Eelking's Hülfstruppen, i. 105; ii. 14, 30; epitomized in Lowell's Hessians, 215, 220. Cf. J. G. Rosengarten on the German soldiers in Newport, in R. I. Hist. Mag., vii. 81. Silas Talbot, a Rhode Islander, who had gained credit in the land service, and had managed some fire-ships against the British fleet in New York, captured a floating battery of the enemy near Newport,[603] and made his subsequent record on the water as an officer of the navy. Henry T. Tuckerman wrote the Life of Silas Talbot, which had been intended for Sparks's Amer. Biography, but was published separately in N. Y. in 1850. Cf. Lossing's Field-Book, ii. 849.
The next morning Clinton's reinforcements appeared, brought by Howe's fleet. They were not needed; and so, while Gen. Grey made some raids, with transports and light craft, upon Fairhaven and other ports, whose privateers had annoyed the British (cf. Harper's Monthly Mag., 1885, p. 823; and statement of losses in Sparks MSS., lii. vol. ii. 29), Clinton took his troops back to New York, and Howe went round Cape Cod and cruised off Boston harbor, trying in vain to allure D'Estaing to battle. The French commander remained in port till November. As the time for his sailing approached, another English fleet, under Admiral Byron, appeared off the harbor; but a storm scattering his ships, the French, on the 3d of November, left the port unmolested, and sailed for the West Indies.
D'Estaing, while in Boston, addressed a letter to Congress (Sparks MSS., lii. vol. iii.), and promulgated a proclamation (Oct. 28th) to former French subjects in Canada, seeking to detach them from English interests (Andrews's Late War, iii. 171; Niles's Principles, 1876 ed., p. 136, Doc. rel. to Col. Hist., N. Y., x. 1165).
The reports which reached Boston relative to the campaign under Sullivan, and the impressions respecting the French, are given in Ezekiel Price's diary (N. E. Hist. and Geneal. Reg., Oct., 1865, p. 334). Hancock, who had been in command of the Massachusetts militia during the campaign, returned to Boston to do what he could by his hospitality to prevent the general indifference of the Boston people producing evil effects on the French (Memorial Hist. Boston, iii. 185; Loring's Hundred Boston Orators, 102; Adams's Familiar Letters, 342; Greene's Greene, ii. 143). On the unfortunate riot (Sept. 17, 1778) in the town, in which the French were roughly handled, see Mag. of Amer. Hist., viii. 785, 856, xv. 95. Considerable apprehension was felt lest the British, elated by success, should push towards Boston from Rhode Island, and beacons were got in readiness (Sept. 7th) on Blue Hill in Milton. A regiment of artillery had been raised for the defence of the town, and an orderly-book covering its service, June 8, 1777, to Dec. 18, 1778, is given in the Essex Inst. Hist. Coll., xiii. 115, 237; xiv. 60, 110, 188. Heath (cf. his Memoirs for this period), at a time when the French were making ready to sail, wrote from Boston, Oct. 22, 1778, to Weare, of New Hampshire, that he feared the British were planning an attack by water (Letters and Papers, MSS., 1777-1780, in Mass. Hist. Soc. cabinet).
IV. The Penobscot Expedition, 1779.—This expedition was fitted out in Boston by the Massachusetts authorities, with some assistance from New Hampshire, for the purpose of dislodging a British force, which in June, under General McNeill, supported by a few vessels under Captain Mowatt, had taken possession of the peninsula now called Castine. The treasury of Massachusetts issued bills to cover the cost (Goodell's Province Laws, v. 1191).
Solomon Lovell was put in command of 1,200 militia and 100 artillery, while Peleg Wadsworth was second in command, and Paul Revere had charge of the artillery. The general government lent the "Warren" and "Providence", Continental vessels, and Dudley Saltonstall, a Continental officer, commanded the fleet. The expedition, consisting of nineteen armed vessels, of three hundred and twenty-four guns, with twenty transports, and 2,000 men in all, left Boston harbor July 19th. Quarrels between Lovell and Saltonstall prevented prompt action, and before success could be insured the expedition was overcome by a naval force which Clinton had sent from New York when he heard of the undertaking. Our main sources on the American side are The original Journal of General Solomon Lovell, kept during the Penobscot Expedition, 1779, with a sketch of his life by Gilbert Nash, published in 1881 by the Weymouth (Mass.) Hist. Society; the Boston Gazette, March 18, 25, April 1, 8, 1782; journal on board the Continental sloop "Hunter", July 19-Aug. 11, in Hist. Mag., viii. 51. Further on the American side Thacher's Military Journal; Heath's Memoirs; Thomas Philbrook's account in Cowell's Spirit of '76 in Rhode Island; Pemberton's journal in Mass. Hist. Soc. Coll., ii. 172; letters of Artemas Ward, Peleg Wadsworth, and Charles Chauncey; a letter of James Sullivan, saying that it had involved Massachusetts in a debt of $7,000,000, "which is not so distressing as the disgrace" (Amory's James Sullivan, ii. 376; Sparks MSS., xx.); Wheeler's Pentagoet, p. 36; Kidder's Military Operations in Eastern Maine, p. 265; Williamson's Maine (ii. 471) and Belfast, ch. 12; Willis's Portland, ch. 19; William Goold's Portland in the Past, p. 374; Barry's Mass., ii. ch. 14; J. W. De Peyster in the N. Y. Mail, Aug. 13, 1879.
The Revolutionary Rolls, in the Massachusetts Archives, give the personnel of the expedition; the orders, vessels, etc. (vols. xxxvii., xxxviii., xxxix.)
On the English side we have John Calef's Siege of Penobscot by the Rebels (London, 1781,—Sabin, iii. no. 9,925), which is copied in Wheeler; the journal, July 24-Aug. 12, in the Nova Scotia Gazette, Sept. 14, 1779, which is reprinted in the Maine Hist. Soc. Coll., vii. 121, and that in the Particular Services, etc., edited by Ithiel Town. There is a Tory view in Jones's N. Y. during the Rev., i. 297.
SIEGE OF PENOBSCOT, 1779.
Lovell's troops and the seamen struggled in disorder through the Maine wilderness, and the general himself reached Boston about Sept. 20th. A court of inquiry, under Gen. Artemas Ward, exonerated Lovell, and blamed Saltonstall. Nash prints its report, which is preserved in the Mass. Archives, vol. cxiv. It is examined by Eben Hazard in a letter printed in the Mass. Hist. Soc. Proc., iv. 129, in which he intimates that the blame was not all the naval commander's, and that it was a part of the plan to throw the responsibility on a Continental officer, in order to force the cost of the expedition upon Congress.
The annexed sketch is a combination of the two maps on a much larger scale in Calef's Siege of Penobscot (London, 1781). On the approach of the American fleet up the river, the British garrison was encamped on the peninsula of Maja-big-waduce (the modern Castine) at Q, and their main fortification, Fort George (A), was not completed. Capt. Mowatt, the naval commander, placed his three vessels in line (L) to defend the harbor. The Americans were first seen July 24th. On the 25th the American transports passed up the river and anchored, while nine armed ships in three divisions at K attacked the British ships at L; the American land forces, meanwhile, attempting to land at R, were repulsed. On the 26th, towards night, the Americans placed some heavy guns on Nautilus Island, whereupon the British ships moved back to a position at M. On the 27th the American ships engaged the British battery D with little result. On the 28th the Americans succeeded in landing at R, captured the battery D, and established the lines C. The battery on Nautilus Island disturbing the ships at M, they moved farther up to N. On the 29th the Americans opened their batteries along the lines C, and the British moved some guns from the half-moon E to the fort, and the ships sent ashore some cannon to be mounted at E. On the 31st the American seamen and marines attempted a landing between D and E, but were repulsed. On August 4th the Americans opened a battery at G, annoying the ships at N, and endangering their communications with the forts. The American batteries at F and H were not completed, and the one at H was abandoned on August 9th. On August 5th the British naval commander began the battery B to protect his communications with the fort; and while building it, the Americans planted, on the 8th, a field-piece at F to annoy the men working.
On the 13th arrangements were making for a vigorous attack, when the reinforcing British fleet appeared in the offing. During the night the Americans reëmbarked, and all their vessels fled up the river. Only the "Hunter" and "Hampden" attempted to escape down the river, and these were captured. Night coming on, the British anchored; while the Americans landed their men, and then blew up their vessels. The commodore's ship, "Warren", of thirty-two guns, was burned at Oak Point.
Calef's map is given in Wheeler's Pentagoet. A MS. plan of the operations of the English fleet is among the Faden maps (no. 101), in the library of Congress. As a result of their success at Penobscot, the British government, the next year, attempted to erect Maine into a province under the name of New Ireland (Bancroft, x. 368; Barry's Mass.; Me. Hist. Soc. Coll., vii. 201).
THE INDIANS AND THE BORDER WARFARE OF THE REVOLUTION.
BY ANDREW McFARLAND DAVIS,
American Antiquarian Society.
THE peace which followed the quelling of the Pontiac war gave opportunities for settlements to be pushed westward. The population on the border, rendered lawless by environment, was not likely to observe treaties. Fear of the Indians was more potent to restrain these restless men than dread of punishment by colonial authorities. Conflicts of colonial jurisdiction and disputed land claims added to the chronic confusion of the situation.
It needed all the tact and discretion of which that remarkable man, Sir William Johnson, was master to prevent outbreaks, and the danger was not over until the boundaries were adjusted with the Six Nations and other Indians, at Fort Stanwix, in 1768. There was far more cause for complaint against the English on the part of the tribes whom Sir William was able to control than on the part of the Senecas, who, in September, 1763, had surprised and scalped a working party with their guard. Encroachment upon their lands had also irritated the Mohawks, who particularly resented an attempt of a Connecticut company to colonize the valley of the Susquehanna. Early in the spring of 1763, the Connecticut company sought to secure Sir William's influence with the Indians in quieting the company's title, which was based upon the Connecticut charter and upon alleged Indian deeds. The company failed in this, as well as in an attempt to negotiate with the confederacy. The Indians, instead of granting a deed, sent to Connecticut a delegation of Mohawks, accompanied by Guy Johnson, to represent to the governor of that colony the peril with which further attempts at colonization would be attended.[1260] These efforts arrested the movements of the company, and for the time immigration was checked. They were not early enough, however, to prevent one of those horrible attacks which stand out in our memories as types of Indian warfare[606] and which in the minds of many readers obscure all other conceptions of Indian character. A number of families had already settled in this region, under the auspices of the Connecticut company, and had built themselves homes near the present site of Wilkesbarré. On October 15, 1763, they were suddenly attacked by Indians, and one woman and nine men were killed and scalped. The rest of the inhabitants fled to the mountains, and such as did not perish worked their way through the wilderness to the nearest settlements. Their villages were destroyed, their cattle killed, and their crops laid waste. Avenging expeditions were promptly organized in Pennsylvania. One marched to the Delaware town at Wyoming, but found it deserted. Another laid waste the Delaware and Munsee towns on the west branch of the Susquehanna.
The Moravian Indians at Wyoming, who had taken no part in the massacre of the Connecticut settlers, removed for safety to Gnadenhütten, whence they were taken to Philadelphia for greater security. At Paxton, Pennsylvania, the inhabitants assembled secretly, and attacked a settlement of the harmless Conestogoes. The cause for this wicked slaughter has never been clearly explained,[1261] but the subsequent memorials of the rioters seem to indicate that it was part of a general plan to exterminate the Indians. Whatever the motive, popular approval was strong enough to shield the perpetrators of such shameless deeds.[1262] The entire band of the Conestogoes was exterminated,[1263] and their town was destroyed. The first attack was made on them on the night of the 14th of December, when this band of murderers surrounding the town, killed all who happened to be there. Those Indians who were absent took refuge in Lancaster, where they were lodged in a public building, spoken of by some as the workhouse, by some as the jail. On the 27th, their enemies followed them to this refuge, and in cold blood slaughtered them all, men, women, and children, indiscriminately.
The Moravian Indians, who had taken refuge at Philadelphia, were next threatened by the rioters, who marched towards that place with the avowed[607] intention of killing them also. The provincial authorities appealed to General Gage for help, but before his reply reached them they sought to throw the Indians upon New York for protection. It happened that a company of regulars was about to march from Philadelphia for New York, and under their escort the Indians were dispatched, with intention to place them under charge of Sir William Johnson. The New York authorities refused, however, to permit the Indians to enter that province. Meantime General Gage placed troops at the disposal of Governor Penn. The Indians were conducted back to Philadelphia, and orders were given to repel by force any attack. The rioters again approached Philadelphia, but were dissuaded from attack, and Pennsylvania was spared the shame of further atrocities by the "Paxton Boys."
After this excitement was over the labors of Sir William Johnson to prevent renewed conflict were still constant. He complained, in his correspondence,[1264] of murders, robberies, and encroachments on the rights and possessions of the natives. The frontier inhabitants, according to him, thought themselves at liberty to make settlements where they pleased. He lost heart, while on the other hand the settlers openly bade defiance to authority. In 1766 he wrote: "Murders are now daily committed on the frontiers, and I fear that an Indian war is inevitable." In January, 1767, he announced that Colonel Cresap, of Maryland, himself held a treaty some time during the last year with several warriors of the Six Nations, who passed that way, and who were persuaded to grant to him a considerable tract of land down the Ohio toward Green-Brier. With prophetic instinct, Sir William added: "If this be true, it will be productive of dangerous consequences." A large part of Johnson's time was spent in protecting the Indians from such fraudulent conveyances of their land as were made through transfers where there was but a shadow of title, through forgeries, and through deeds executed without proper formalities, under circumstances which would prevent recognition of the transaction by the tribes. Many deeds, which upon the face seemed properly executed, were secured from the signers when they were so completely intoxicated that they were ignorant what they were doing. Others conveyed by metes and bounds an extent of territory far exceeding the intention of the grantors. No transfer of land made by a band of warriors, on the war-path or on a hunting expedition, would have been recognized by the confederacy. Sir William himself said: "A sachem of each tribe is a necessary party to a fair conveyance, and such sachem affixes the mark of the tribe thereto, as a public seal of a corporation." The title to the land was supposed to be in all. Even the women had a voice in transfers by bargain and sale.[1265] It was one of the principal occupations of Sir William[608] Johnson's life to adjust difficulties arising out of transfers, such as the one to Cresap, of which he had heard, and in which he saw the seeds of future trouble, if it should prove to be true. In his review of the trade and affairs of the Indians in the northern district of America, he recapitulates the wrongs of the Indian.[1266]
Life in the midst of such impending dangers bred contempt for authority, even on the part of men who were well disposed. The strong arm of the government was but feebly felt in the distant bottoms in the western parts of Pennsylvania, Maryland, and Virginia, which settlers were beginning to appropriate to their own use. The inhabitants of the frontiers were a law unto themselves, and sometimes unto the authorities. Men who diligently read their Bibles and pondered over the teachings of the gospels could tear scalps from the heads of Indians. The government was powerless to protect the frontiers except through the agency of volunteers, and they in turn were able at any moment seriously to complicate the situation. In the organization of companies of rangers the weakness of the government was exposed, and through them the independence of the settlers was developed. Such companies frequently adopted Indian costumes, painted their faces, and manœuvred by Indian tactics. The habits of the Indian more than the civilization they had left, influenced their modes of life. They attacked for revenge, and were barbarous because the savages were. In the case of the Indians such methods in warfare came by inheritance. They were modified somewhat by the spirit of the missionaries, and however cruel they may have been, they were at any rate absolutely free from assaults on woman's chastity. In the case of the settlers, the promptings of civilization were disregarded, and it would seem as if the system of bounties for scalps had taught them to regard the Indian as on the level of a brute. Nevertheless, the rule had exceptions; and it would not be just to paint all the settlers along the borders in these repulsive colors, or to believe that there was a universal desire for the extermination of the Indians.
Note.—This map was found in MS. among a collection of maps and charts which were presented to the New York State library by Obadiah Rich, of London. It had been sent to Lord Hillsborough in 1771, accompanying a memorial concerning the Iroquois, prepared by the Rev. Charles Inglis, of Trinity Church, New York city, who had endeavored to christianize them. This paper was subsequently recovered from the descendants of Dr. Inglis in Nova Scotia, and is printed in the Doc. Hist. N. Y. (quarto), iv. p. 661, accompanied by an engraved copy of Johnson's map, of which a reduction is given herewith. The map is also given in Pearson's Schenectady Patent, 1883, p. 433; in Hough's edition of Pouchot, ii. 148.
In N. Y. Col. Docs., viii. 136, Guy Johnson's map, showing the line fixed at Fort Stanwix, Nov., 1768, is given as copied from the original in Sir William Johnson's letter, Nov. 18, 1768, to Hillsborough, preserved in the State Paper Office. In Ibid. viii. 31, is a copy of the map annexed to the Report and Representation of the Board of Trade, March 7, 1768, showing the line of the bounds with the Indians. Cf. on this line Doc. Hist. N. Y., i. 587; N. Y. Col. Docs., viii. 110; New Jersey Archives, x. 55, 95; Mill's Bounds of Ontario, p. 21; Olden Time, i. 399; Schweinitz's Zeisberger, ch. xviii.; View of the title to Indiana (1776; see Hildeburn's Bibliog., no. 3,490). Respecting the territory of the Oneidas, see Magazine of American History, Oct., 1885, p. 387, where the accuracy of the map in Morgan's League of the Iroquois is questioned.—Ed.
This hazardous contact of Indian and border settler stretched along a doubtful line which extended from Oneida Lake to the central part of the valley of the Ohio. In 1768 the boundaries were adjusted at Fort Stanwix, between representatives of the English government, on the one part, and the Six Nations, the Delawares, the Shawanese, the Mingoes of Ohio, and other dependent tribes, on the other. A deed of the land to the east and south of a line which ran from a point just west of Fort Stanwix south to the Susquehanna, thence up the West Branch and across to Kittanning on the Alleghany, thence down that river and the Ohio to the mouth of the Tennessee, was then duly executed to the king of England. An exception from its terms was made of the land occupied by the Mohawks, whose settlements were all to the east of the agreed boundary line. The hunting-grounds comprised within the limits of the States of Kentucky and Tennessee were claimed by the Six Nations as conquered territory, and they paid no regard to the claims of the Cherokees, who had arranged a boundary with Stuart, the Indian agent, to a part at least of the same region, the northern termination of which was the mouth of the Kanawha River. It was understood by the Indians that no white man was to settle to the west of the line agreed upon.[1267]
The far-reaching influence of the Indian superintendents restrained this aboriginal population from violent outbreak from 1764 until the collision at Point Pleasant, Virginia, in 1774. This was undoubtedly precipitated by atrocities committed upon the Indians in the Ohio Valley, near Wheeling. Underlying the immediate causes for irritation during this period were reasons for complaint, revealed in the correspondence of Sir William Johnson, which would probably have led to warfare at an early date. Among these was the influx of settlers upon the hunting-grounds of the Indians, where, regardless of treaties, the land across the Ohio was parcelled out in "tomahawk improvements", as the squatter rights of the day were denominated. These proceedings attracted the attention of General Gage, and on the 8th of August, 1772, he issued a proclamation, calling attention to the fact that some persons had "undertaken to make settlements beyond the boundaries fixed by treaties made with the Indian nations", "where they lead a wandering life, without government and without laws", "causing infinite disturbance." Such persons were ordered to "quit these countries instantly and without delay, and to retire at their choice into some one of the colonies of his majesty." The peace which was negotiated by Lord Dunmore brought but little quiet to the settlers on the border. Indian raids were frequent, and the details of their horrors are sickening, but the loss of life by these raids has been greatly exaggerated. The Indians seldom ventured beyond the region which was scantily peopled. The watchfulness of the settlers, and their promptness to assemble and pursue, averted many disasters. At such a time Virginia and Pennsylvania were wrangling over the right to grant patents for land, the settlement of which had so much to do with the uneasiness of the Indians.[1268]
In New York, settlements were more compact. Rights of territory were better defined and better understood. Indian lands had been better protected there from direct invasion and from fraudulent transfer. Danger from trespass was better appreciated. The Indians themselves, being under the personal oversight of their superintendent, were better controlled. His immediate presence made him more useful in the adjustment of disputes without resort to the tomahawk. The frontier patriots of Tryon County, "unlike the rude inhabitants of most frontier settlements", are stated by a careful student of the records to have been "scrupulous in their devotion[612] to the supremacy of the laws." The confederacy of the Six Nations, as a whole, had not participated in the events in the valley of the Ohio, but they shared with their dependants and allies in the uneasiness caused by such aggressions upon Indian territory. Some of their warriors had taken part in the Virginia war, and the "temper of the whole Indian race, with the exception of the Oneidas, was soured by these occurrences of the year 1774." The first official labors of importance which devolved upon Colonel Guy Johnson, who, after the death of Sir William Johnson in 1774, had been appointed to the office of superintendent, were to check the resentment of the Six Nations.[1269] His success in those labors showed that he had inherited, by virtue of his office, some of the respect and affection which the natives had lavished upon his predecessor.
Such was the condition of affairs when Washington took command of the army, in July, 1775, with instructions not to disband any of the forces already raised, until further directions from Congress. It is not probable that all the members of the Congress were aware of the full meaning of these instructions. There were among the men whom Washington was thus instructed not to discharge a number of Indians regularly enlisted as minute-men. Had the question of employing Indians been submitted to Congress at that time, it would probably have been answered in the negative; but it had already been settled by the Provincial Congress of Massachusetts Bay when they accepted the services of Indians.[1270]
On the first day of April, 1775, the Committee on the State of the Province reported to that congress a resolve beginning with these words: "Whereas a number of Indians, natives of the town of Stockbridge, have enlisted as minute-men." A committee was next appointed to draft a letter to the Rev. Mr. Kirkland,[1271] and to frame an address to the chief of the Mohawk tribes. The letter requests Mr. Kirkland to use his influence with the Six[613] Nations "to join with us in the defence of our rights;" but if he could not "prevail with them to take an active part in this glorious cause", he was "at least to engage them to stand neuter." The address calls upon the Indians to "whet their hatchet, and be prepared to defend our liberties and lives."
It is evident that the Stockbridge Indians were further importuned,[1272] for on the 11th of April their chief sachem answered a communication from the President of the Provincial Congress (the contents of which can only[614] be conjectured) by offering to visit the Six Nations and find out how they stood. "If I find that they are against you", he said, "I will try and turn their minds."... "One thing I ask of you, if you send for me to fight, that you will let me fight in my own Indian way." The Massachusetts Congress also tried to draw recruits from the Indians of Nova Scotia, and addressed them on the 15th of May, 1775,[1273] as their "friends and good brothers;" adding as an inducement for their enlistment that "the Indians at Stockbridge all join with us, and some of their men have enlisted as soldiers." Captain John Lane was sent down among these Eastern Indians to raise one company of their men, "to join with us in the war with your and our enemies." Nothing, however, resulted from this, except the arrival in June of Captain Lane with one chief and three young men, and at a later date the execution of a barren treaty.[1274] In addition to these efforts put forth by the Provincial Congress, attempts were early made in the same direction by provincial officers;[1275] and thus by general or special effort at the very beginning of the war, the Americans secured the services of such Indians as were willing to enlist, and the English followed so close in their steps as to confound, to the casual observer of their mutual criminations, the evidence of priority. The Indians engaged upon the American side produced no material influence upon military movements. Their presence in camp has been ignored by many writers. The responsibility for the intention is the same as if the effort had been successful. It must, however, be remembered that small bodies of Indians, serving with whites, were controllable and easily restrained from excesses. After the evacuation of Boston, the tide of events changed the field of war, and altered the composition of the troops. The army began to assume a national aspect. The voice of Massachusetts was no longer pre-eminent in military affairs.
The Continental Congress contained representatives of other colonies who keenly felt the dangers from the use of Indians by the enemy. The[615] expressions of opinion in that body were, therefore, much more conservative than in the Provincial Congress of Massachusetts Bay. On the 18th of May it appears by the Journals that indubitable evidence of a design formed by the British ministry of making an invasion had been received. In June, according to the Secret Journals, Governor Carleton was making preparation to invade the colonies, and was "instigating the Indian nations to take up the hatchet against them." On the 30th the Committee on Indian Affairs was instructed "to prepare proper talks to the several tribes of Indians for engaging the continuance of their friendship to us, and neutrality in our present unhappy dispute with Great Britain." On the 1st of July there is a hint of a possible change of position shown in the passage of a resolution, "that in case any agent of the ministry shall induce any Indian tribes, or any of them, to commit actual hostilities against these colonies, or to enter into an offensive alliance with the British troops, thereupon the colonies ought to avail themselves of an alliance with such Indian nations as will enter into the same, to oppose such British troops and their allies." The statement that Carleton was instigating the Indians to "fall upon us" was repeated July 6th.[1276] On July 12th the Committee on Indian Affairs recommended that the country be divided into[616] three Indian departments, and that commissioners be appointed, with power to "treat with the Indians in their respective departments, in the name and on behalf of the United Colonies, in order to preserve peace and friendship with the said Indians, and to prevent their taking any part in the present commotion." This recommendation was adopted. On July 13th, a formal speech was addressed to the Six Confederate Nations, urging them to keep peace. On the 17th the commissioners were recommended to employ Mr. Kirkland, in order to secure the friendship of the Indians and continue them in a state of neutrality. On July 21st a plan of confederation was submitted to Congress by Franklin, in which "a perpetual alliance, offensive and defensive", was proposed, "to be entered into as soon as may be with the Six Nations." On December 2d it was resolved that the Indians of the St. Francis, Penobscot, Stockbridge, and St. John and other tribes may be called on in case of real necessity, and that giving them presents is suitable and proper. On March 8, 1776, the growing disposition to make use of Indians found expression in a resolve "that Indians be not employed as soldiers in the armies of the United Colonies, before the tribes to which they belong shall, in a national council, held in the customary manner, have consented thereto, nor then without express approbation of Congress." On May 25th the opposition seems to have been completely overcome, when Congress resolved "that it is highly expedient to engage the Indians in the service of the United Colonies."[1277] On June 3d authority was conferred upon General Washington to employ in Canada a number of Indians, not exceeding two thousand; and on the 6th instructions were given to the standing Committee on Indian Affairs to devise ways and means for carrying into effect the resolution of the 3d. Meantime the news of the disaster at the Cedars was received, and its circumstances impelled Congress to special efforts in behalf of the colonies. On June 14th the commissioners of the Northern Department were instructed to "engage the Six Nations in our interest, on the best terms that can be procured." On the 17th, the restriction in the resolution of the 3d, which limited to Canada the use of the Indians to be raised, was removed, and the general was permitted to employ them in any place where he should judge they would be most useful. He was further authorized "to offer a reward of one hundred dollars for every commissioned officer, and thirty dollars for every private soldier of the king's troops, that they should take prisoners in the[617] Indian country, or on the frontiers of these colonies." The days of irresolution were over. Congress was now irrevocably committed to the proposition of permitting the general commanding the armies to take what advantage he could of Indian auxiliaries, and to offer them bounties for prisoners. The next utterance of Congress on this subject is to be found in the Declaration of Independence, in which the king is arraigned because "he has endeavored to bring on the inhabitants of our frontiers the merciless Indian savages, whose known rule of warfare is an undistinguished destruction of all ages, sexes, and conditions." This was closely followed by a resolution on July 8th, authorizing Washington to call forth and engage the Indians of the St. John, Nova Scotia, and Penobscot tribes. The address to the people of Great Britain was adopted the same day. The address to the people of Ireland, in which it is asserted that "the wild and barbarous savages of the wilderness have been solicited by gifts to take up the hatchet against us, and instigated to deluge our settlements with the blood of defenceless women and children", was agreed to July 28, 1776.[1278] After this, the acts and resolutions of Congress were consistent with the resolution in which they declared that it was highly expedient to employ the Indians. Instructions were given from time to time to secure the greatest advantage out of the services of the Indians, in behalf of the country which was now struggling for independence; and in 1779 it was resolved that twelve blank commissions be furnished the commissioners of the Northern Department for the appointment of as many Indians, the name and the rank of each commission to be filled at the discretion of the commissioners.[1279]
The English approached the question differently; and there can be but little doubt that the proposition to use Indian warriors was more shocking to the cultivated Englishman, who was in no danger from their barbarous excesses, than to the American of corresponding attainments, whose life had been spent in close contact with men to whom such incidents had been every-day experiences. The fierce invectives of Chatham,[1280] in 1777, against the ministry for having enlisted the services of Indians, were founded on a proper estimate of the responsibilities of an invading army. Lord North recognized this distinction when, in 1775, he said that Carleton raised Indians only for purposes of defence. Military men knew that the natives, who had taken part in every war in America between the French and the English, must inevitably be drawn into any protracted contest between[618] Great Britain and the colonies. It could be foreseen that, if the English retained Canada and Detroit, operations would be conducted by way of Lake Champlain, Oswego, and Detroit, which would involve the use of Indian territory. If any inference could be drawn from the past, no armed occupation of strategic positions within Indian territory, and no use of the rivers and natural highways of the back country for military purposes during a time of actual war, could be made without collision with the natives, unless such occupation and use was by their consent. Such consent could only be gained by alliance. General Gage and Lord Dunmore, both in close contact with the situation, placed their opinions on record soon after hostilities broke out. On June, 12, 1775, Gage wrote to Lord Dartmouth: "I hear that the rebels, after surprising Ticonderoga, made incursions and commenced hostilities upon the frontier of the province of Quebec, which will justify General Carleton to raise bodies of Canadians and Indians to attack them in return; and we need not be tender of calling on the savages, as the rebels here have shown us the example, by bringing as many Indians down here as they could collect." Lord Dunmore, whose indiscretions and brutality were so serviceable in stamping out loyalty among men of wealth and intelligence in Virginia, sought no justification in the example of the rebels. He wrote to the Earl of Dartmouth, on May 1st, that he hoped "to be able to collect from among Indians, negroes, and other persons a force sufficient, if not to subdue rebellion, at least to defend government;" and in the fall of the same year he endeavored to carry out his policy.[1281] Carleton was apparently averse to the employment of Indians in aggressive movements. At any rate, he took refuge behind his orders, which did not permit him "to act out of the line of the province."
Colonel Guy Johnson was the object of much suspicion during the months of May and June, 1775. He repudiated with vigor the position which these suspicions attributed to him, and said that he could not sufficiently express his surprise at those who had, either through malice or ignorance, misconstrued his intentions, and supposed him capable of setting Indians on the peaceable inhabitants of Tryon County. He was a servant of the king and an ardent loyalist. From the mere performance of his official duties he was necessarily an object of suspicion to the Americans. He was the person who furnished the natives with supplies. "We get our things from the superintendent. If our ammunition is stopped we shall distrust you", said an Indian speaker to the delegates from Albany and Tryon counties. These supplies were furnished by the king to those whom he termed his allies. It was evident that the king would not continue to furnish supplies, if their only effect was to keep the neighboring Indians on good terms with[619] colonists who, while claiming to be loyal subjects, were actually in arms against his government. As the distributer of supplies, the safety of the superintendent was of great importance to the natives, and a rumor that the "Bostonians" contemplated seizing his person[1282] caused the Indians much alarm. Whether Johnson believed this rumor or not, he fortified his house. This act, as well as his sudden removal to Fort Stanwix, and thence to Oswego,—at both of which places he held conferences with Indians,—increased the numbers who doubted the sincerity of his statements. Yet even here, after these suspicious movements, he protested to the Provincial Congress of New York against the charges brought against him: "I trust I shall always manifest more humanity than to promote the destruction of the innocent inhabitants of a colony to which I have been always warmly attached." The conference at Oswego caused alarm to the inhabitants of Tryon County, and the air was filled with rumors of Indian invasion. Colonel Johnson reported to Dartmouth that he left home the last of May, "having received secret instructions from General Gage", and that he "assembled 1,458 Indians at Ontario,[1283] and adjusted matters with them in such a manner that they agreed to defend the communications and assist his majesty's troops in their operations." At the Albany conference the Indians were interrogated about the proceedings at Oswego, and repeatedly asserted that the superintendent's advice to them was to preserve neutrality.[1284] The statements made by the Indians at the conferences were generally to be relied upon. Johnson's language has perhaps been misunderstood. The assistance "to his majesty's troops in their operations" may have been limited to the agreement to defend the communications, the military value of which Johnson appreciated, but the full effect of an agreement to defend which the Indians did not comprehend. In the middle of July, Johnson arrived at Montreal, and another conference was held with 1,664 Indians, at which their services were secured for the king. Brant, who was present, afterwards said: "We immediately commenced in good earnest, and did our utmost during the war."
In the South, John Stuart, the Indian superintendent of that department,[620] was also an object of suspicion. At a hint from friends he fled from Charleston to Savannah, and in turn to St. Augustine. From this spot, on July 18th, he wrote to the Committee of Safety of Charleston, asserting that he had never received any orders from his superiors "which, by the most tortured suspicion, could be interpreted to stir up or employ the Indians to fall upon the frontier inhabitants, or to take any part in the disputes between Great Britain and the colonies."[1285] A few weeks later he received from Gage a letter written just before that officer left Boston, the vindictiveness of which was probably prompted by anger. This letter contained instructions to "improve a correspondence with the Indians to the greatest advantage, and even when opportunity offers make them take arms against his majesty's enemies, and distress them all in your power; for no terms are now to be kept with them; they have brought down all the savages they could against us here, who, with their riflemen, are continually firing on our advanced sentries;[1286] in short, no time should be lost to distress a set of people so wantonly rebellious."[1287] Stuart apparently proceeded to carry out what he conceived to be the desires of his superior officer, and, in a letter of October 3d, reported progress.
From England instructions were forwarded on July 5, 1775, by Lord Dartmouth to Colonel Johnson, "to keep the Indians in such a state of affection and attachment to the king as that his majesty may rely upon their assistance in any case in which it may be necessary." On the 24th Dartmouth wrote: "The intelligence his majesty has received of the rebels having excited the Indians to take a part, and of their having actually engaged a body of them in arms to support their rebellion, justifies the resolution his majesty has taken of requiring the assistance of his faithful adherents, the Six Nations. It is, therefore, his majesty's pleasure that you do lose no time in taking such steps as may induce them to take up the hatchet against his majesty's rebellious subjects in America, and to engage them in his majesty's service, upon such plan as shall be suggested by General Gage." This work Johnson had already accomplished even before the instructions of July 24th were written. In the fall of the same year that Dartmouth thus placed the British government on record as willing to employ Indians in the war, without other restrictions than such as were to be suggested by General Gage, the Earl of Shelburne, on information[621] received, attacked the administration. "The Indians had been tampered with", he said. "A trial of skill had been made to let the savages on the back settlements loose on provincial subjects. Barbarous as was the measure and cowardly as was the attempt, it had failed." This was on November 10th. Ten days later Lord North asserted that, "as to the means of conducting the war, there was never any idea of employing the negroes or the Indians, until the Americans themselves had first applied to them; that General Carleton did then apply to them; and even then it was only for the defence of his own province." Lord North was not well informed on proceedings in the colonies.
The attitude assumed by the British government in the order of July 24th represented the position which was retained during the remainder of the war. From Halifax, on June 7, 1776, General Howe assured Lord George Germain that his best endeavors would be used to engage the Indians of the Six Nations, and he hoped by the influence of Colonel Guy Johnson to make them useful. Notwithstanding the fact that the intercepted correspondence between General Gage and John Stuart, the superintendent, had been in possession of the Americans for some months, Henry Stuart, a deputy of his brother, on May 18, 1776, asserted that it was not the design of his majesty "to set his friends and allies on his liege subjects." This was probably true, but there were a number of inhabitants of the Southern colonies who could hardly have been classified as "liege subjects" at that time, to whom this announcement could not have conveyed much satisfaction. From an intercepted letter from the same source a scheme for co-operating with the fleet when it should appear on the coast, by marching troops from Florida in concert with a force composed of Creeks and Cherokees, to the frontiers of North and South Carolina, was made public. In the fall of 1776 Lord George Germain forwarded a supply of presents to the Indians, and called the attention of the generals in command to the necessity of securing their services. In November, 1777, the Earl of Suffolk justified the alliance with the Indians on two grounds: "one as necessary in fact, the other as allowable on principle; for, first, the Americans endeavored to raise them on their side, and would gain them if we did not; and next, it was allowable, and perfectly justifiable, to use every means that God and nature had put in our hands."[1288] This avowal called forth from the Earl of Chatham a fierce denunciation of its author.
In the review which has been submitted of the acts and opinions, official and personal, on both sides the ocean, concerning the employment of the Indians in the Revolutionary War, the actors have been allowed to speak[622] for themselves as nearly as possible. If we follow the order of events, we can see that the flaming rhetoric of the address of the Continental Congress to the people of Ireland, and the caustic arraignment of the king of Great Britain in the Declaration of Independence, were calculated to produce an erroneous impression as to the American position upon the subject. With the publication, which afterwards took place, of the correspondence of prominent men of the times, and of official documents from state and national archives, this became evident. Sparks, in his Washington,[1289] says: "It has been usual in America to represent the English as much the most censurable on this score in the Revolutionary War; and if we estimate the amount of deserved censure by the effect produced, this opinion is no doubt correct. But such is not the equitable mode of judging on the subject, since the principle and intention are chiefly concerned, and not the policy of the measure nor the success of the execution. Taken on this ground, historical justice must award the Americans a due share of the blame." We may complain of the brutal eagerness of Lord Dunmore to sustain his official position at any expense to his people; we may hold up for abhorrence the vindictive nature of the orders transmitted by General Gage; we may point out the disingenuous evasions or downright falsehoods of Colonel Guy Johnson; but we must accept responsibility for the enlistment, before the battle of Lexington, of the Stockbridge Indians by the Provincial Congress of Massachusetts Bay. We may claim with apparent justice that the Continental Congress was reluctant to employ Indians; yet we cannot undertake to reconcile the resolutions of that Congress on May 25 and on June 17, 1776, with the indignation against Great Britain, expressed so shortly afterward in the Declaration of Independence and the Address to the people of Ireland, for doing what Congress, by resolutions of previous date, had first declared to be highly expedient, and then had specifically ordered to be done.
The examination which has heretofore been made of the position of the colonies on the question of the employment of Indians as soldiers has already brought to light some of the events requiring notice which took place in the Northern Department. The few Mohegans, whose unfortunate enlistment as minute-men furnished argument for Gage "that the colonies were collecting all the Indians that they could", were practically the only Indians the colonies found ready to take up arms in their behalf. During the summer and autumn of 1775 Washington was much encouraged by reports of the friendly disposition of the Eastern and Canadian Indians. He was visited at Cambridge by delegations from the Penobscot, the St. Francis, and the Caughnawaga tribes, who in friendly talks conveyed the impression that they favored the colonies. The Six Nations were sorely perplexed and divided in their councils.[1290] The residence of the superintendent among them, his power as the distributer of gifts, the traditional respect and affection that they had for his predecessor, and, above all, the active agency of Joseph Brant, the Mohawk chief, whom the superintendent adroitly engaged as his private secretary, all conspired to take them over to the enemy.
JOSEPH THAYENDANEGEA.
This portrait of Brant, "from an original drawing in the possession of James Boswell, Esq.", is engraved in the London Mag., July, 1776. It is reëngraved in the N. E. Hist. and Geneal. Reg., ii. 345.—Ed.
It is surprising that any influences could have overcome, even partially, this combination of circumstances in favor of the English; but, as it proved, the personal attachment of the Oneidas and Tuscaroras for Kirkland the missionary, and Dean the interpreter, was powerful enough, when exerted in favor of neutrality, to prevent the greater part of those tribes from following their brethren. Various conferences were held during the summer between delegations of whites and representatives of the Eastern tribes of the confederacy, in all of which those Indians who participated professed their willingness to remain neutral.[1291] In the autumn[624] of 1775 the Indian commissioners of the Northern Department held a preliminary conference at German Flats, and thereafter a formal conference at Albany, at which the peace-speech of Congress was presented to the Six Nations, or rather to that part of the confederacy which was represented at the conference.[1292] An agreement of neutrality was entered into, but its value was greatly diminished by the fact that in the preliminary speeches the Indians insisted upon the necessity of keeping open their communications. This meant that they would regard the occupation of Fort Stanwix as an invasion of their rights.[1293] While these proceedings were going on, some of the Indians who had accompanied Guy Johnson to Montreal returned to their homes. When Dean, under orders from the commissioners, went out to explain to the tribes the nature of the Albany treaty, he met these Indians from Montreal. He says they were members of the Cayuga, Mohawk, and Seneca tribes, and they informed their brethren that they had taken up the hatchet at Montreal against the colonies. The Indians who had been at Albany were displeased at this, and their influence so far prevailed that the famous war-belt delivered by Guy Johnson was surrendered to General Schuyler on the 12th of December at Albany.[1294]
In the Mohawk Valley, the departure of Guy Johnson, in the summer of 1775, left Sir John Johnson the most prominent royalist, and at the same time the most conspicuous friend of the Indians, in that region. He was surrounded by several hundred Scotch Highlanders, who were devoted to him personally, and followed his lead in politics. Early in January, 1776, General Schuyler received orders to proceed to Johnstown, apprehend Sir[625] John, and disarm his followers. In carrying out these orders the jealousy of the Indians had to be considered. Conferences were held with them. They tried to dissuade the general from invading the valley with an armed force, but he carefully explained to them the situation, and insisted upon advancing.
BRANT.
Stone gives two portraits of Brant: one in his younger days, after a picture belonging to the Earl of Warwick, and painted by G. Romney; the other after a painting by Catlin, following an original by E. Ames, and representing him at a later age.
The younger of these two is herewith given. (Cf. J. C. Smith's Brit. Mez. Portraits, iii. 1306; and McKenney and Hall's Indian Tribes, vol. ii.) Cf. also J. N. Hubbard's Sa-go-ye-wat-ha (Albany, 1886), p. 88.—Ed.]
The Indians were, however, invited to be present at the conference with Sir John. As a result of the expedition, the Highlanders were disarmed and Sir John was arrested and paroled. In May, it being reported that Sir John was not observing his parole, a second expedition was dispatched to Johnson Hall.[1295] Without waiting to be arrested, Sir John fled to Canada with a numerous body of followers, and shortly thereafter entered the English army. It was in this same month that the affair of the Cedars took place. Here, for the first time, Joseph Brant—Tha-yen-dan-e-gea—appeared in the field against the colonies. As a youth he had been placed at the school for the instruction of Indians, which was[626] conducted by the Rev. Eleazer Wheelock, afterwards president of Dartmouth College. Brant is said to have been a man of good personal appearance and of great physical courage. Enough of his life had been spent among the whites to make him feel at ease in European costume, and to fit him to enter society without fear of transgressing ordinary rules of etiquette. As the private secretary of Guy Johnson, he had followed the superintendent to Montreal. From that point he went to England, where he was received with consideration. After a brief stay he returned to Canada, arriving in time to participate, while his memory of British adulation was still fresh,[1296] in the joint attack of the British troops and Indians on the Americans at the Cedars.[1297]
The necessity for occupying Fort Stanwix became early apparent to the Americans, and was the subject of frequent correspondence. This fort was at the carrying-place between Lake Ontario and the Mohawk,[1298] and from this post, on September 23, 1776, Colonel Dayton wrote that "Indian rumors report Colonel Johnson at Oswego with a large force."[1299] The alarm was, however, premature.
In the spring of 1777[1300] intelligence reached the Tryon County committee of the march of Brant, with a large body of warriors, across the country from Canada to the region where the Susquehanna River crosses the line between New York and Pennsylvania. Considerable restlessness was also noted at this time among the Tories. The presence of this large force of Indians under Brant caused great uneasiness to the settlers, and in June General Herkimer, with about three hundred of the militia, marched to Unadilla. Then followed one of the most singular incidents, as the story is generally told, of the whole border war. Herkimer's whole proceedings up to this point were aggressive. He had ventured with an armed force into Indian country. Upon his application, a co-operative force under Colonel Van Schaick was dispatched to Cherry Valley. The presence of Brant in the vicinity with a large body of followers was known, and Brant had already avowed his loyalty to the king. Yet after a conference, to which Brant came with evident reluctance, and at which he made a display of the[627] force with him in such a way as to make Herkimer's followers uneasy, the meeting terminated without apparent result, unless Brant's renewed assertion of loyalty may be so regarded.[1301] Very soon after this a conference was held at Oswego between the officers of the British Indian Department and the Six Nations, at which the greater part of the latter were secured for the service of the king, and the lines were finally drawn between them and those members of the confederacy who were disposed either to maintain neutrality or who actually favored the American side.
While these events were occurring, Burgoyne had started upon his march by way of Lake Champlain, confident that he could without difficulty effect a junction with the British force from New York. Lieutenant Hadden mentions that Burgoyne said at an early date in the campaign that "a thousand savages brought into the field cost more than twenty thousand men." What confidence he had in his allies at the start diminished as he advanced. On the 11th of July he wrote to the secretary of state "Confidentially to your lordship, I may acknowledge that in several instances I have found the Indians little more than a name",—a name which he sought by a proclamation to make a terror; but in doing so he gave his adversaries ground for holding him responsible for such enormities as the murder of Miss McCrea,[1302] and for refusing to believe his indignant denials. His doubts of the value of the Indians as soldiers were soon verified. They could scout and forage, but at Bennington they were useless. They, in turn, finding that Burgoyne endeavored to restrain them in their customary methods of warfare, and that there was but little opportunity for plunder, began to drop away. At the most critical period of the campaign they deserted in large numbers, and could not be prevailed upon to return. Their presence, far from proving a terror to the provincials, consolidated and thus strengthened them, while on the other hand it undoubtedly led the English to overestimate their own strength.[1303]
By orders from London, dated March 26, 1777, the advance of Burgoyne[628] was supported by a simultaneous movement by way of the St. Lawrence and Lake Ontario. Lieutenant-Colonel Barry St. Leger, made a brigadier for the purpose, led a force of about 650 regulars, Hessians, Canadians, and Tories, with upwards of 800 Indians, as stated by Colonel Claus, who had charge of them.
ST. LEGER'S ORDER OF MARCH.
After the cut in Stone's Brant, i. 219, following the original draft found in St. Leger's baggage. Cf. Lossing's Field-Book, i. 241.—Ed.
This command, bearing a few six-pounders, three-pounders, and cohorns, marched from Oswego, in the latter part of July, for the valley of the Mohawk. Unusual precautions were taken to protect the flanks by Indians, and the way was led by scouts. The Oneidas gave the Americans ample warning. Fort Stanwix was at the time under the command of Colonel Gansevoort, with Colonel Marinus Willett as second,—both excellent officers. The regular garrison consisted of 550 men, who were poorly supplied with provisions and munitions of war. Indians infested the woods during the summer, and several atrocious murders were committed, even near the fort. On August 2d, a reinforcement of 200 men reached the garrison, with two bateaux loaded with stores. The supplies had been barely taken into the fort when St. Leger's advanced guard appeared. The increased garrison had now six weeks' provisions and an abundance of ammunition for small arms, but only nine rounds a day for the cannon for the same period. During the summer the garrison had partly repaired the fort, and had felled trees along the banks of Wood Creek, so as to impede navigation.
News was conveyed to St. Leger of the approach of the reinforcement, convoying supplies for the garrison. In the hopes of intercepting them he authorized Lieutenant Bird to invest the place with the advanced guard, at the same time adding to Bird's command a body of Indians under Brant. Thinking perhaps that the garrison might offer to surrender upon the approach of the investing force, he instructed Lieutenant Bird not to accept a capitulation, but to await the approach of the main body of troops; saying, "This is not to take any honor out of a young soldier's hands, but by the presence of the troops to prevent the barbarity and carnage which[629] will ever obtain where Indians make so superior a part of a detachment." On the 3d of August, St. Leger arrived with the greater part of his force, himself taking charge of operations which had been begun by Lieutenant Bird on the 2d. Wood Creek had been "most effectually choaked up", as St. Leger termed it, by the garrison of the fort; consequently he could not at once bring forward his artillery and stores. He forwarded to the garrison copies of a proclamation similar in tenor to that issued by Burgoyne, and on the 4th completely invested the fort and began the siege. Instead of the unfinished work which he says he had been led to expect, he found it "a respectable fortress, strongly garrisoned with 700 men, and demanding for its speedy subjection a train of artillery of which he was not master."
PETER GANSEVOORT.
After a picture by Stuart as engraved by Prud'homme. Cf. Stone's Brant, i. 209; and his Campaign of Burgoyne, p. 221; Lossing's Field-Book, i. 240.—Ed.
The torpor of the inhabitants of Tryon County had excited indignation at Kingston and at Albany. Under the pressure of an invading force, the people responded to the call of General Herkimer, and that officer soon[630] found himself at the head of about 700 men.[1304] Among them were a small number of Oneida Indians. On the 4th of August this assemblage of men from the frontier moved forward from Fort Dayton at German Flats, where they had gathered together, and on the 5th encamped near Oriskany. From this point a message was sent to Colonel Gansevoort reporting their approach, and asking him to announce his knowledge of the fact by three rapid discharges of cannon. The messengers did not succeed in entering the fort until the morning of the 6th between ten and eleven o'clock. The three guns which were intended to communicate to Herkimer the intelligence that the garrison knew of his approach, were then fired at the fort. Herkimer's men were, however, too impatient to wait for co-operation on the part of the garrison. At that hour they had already advanced between two and three miles from their camp, and were engaged with the enemy. In justice to Herkimer, it must be said that he endeavored to prevent the advance, but it was evident from the temper of his men that if he had not consented to move he would have lost their confidence.
At the time of Herkimer's approach, St. Leger was but poorly prepared for an engagement. The garrison and the relief column together were equal in number to St. Leger's total force. The passage of the creek had been so completely blocked that 110 men were nine days in freeing it from obstruction. To get his artillery and stores forward, St. Leger was obliged to clear a path or roadway sixteen miles in length. He had but 250 soldiers on duty at the camp when the news reached him that the Americans were advancing. From these he could spare but 80 men to co-operate with 400 Indians in an ambuscade which was prepared for Herkimer. Sir John Johnson commanded 50 of these, and was posted, for the purpose of checking the column, on the road over which the Americans were advancing. It was intended that the Indians and a small party of rangers under Colonel Butler, who concealed themselves in the woods by the sides of the road, should, when Sir John had performed his part of the work, pour in their fire from all sides. At ten o'clock on the morning of the 6th, the approach of the unsuspecting and undisciplined American troops, with their wagons, was heard by the Tories and Indians in their place of concealment. The presence of the enemy was first revealed to the Americans by a volley from the impetuous Indians, who could not restrain themselves long enough for the perfect development of the plan, but opened fire before the head of the column had reached Sir John Johnson's post, and before the rear guard, with the wagons, had completely entered the fatal circle. Had the regiment which composed the rear guard been made up of men accustomed to warfare, they might even then have done good service in behalf of the[631] surprised column. Unfortunately, those who could get away fled, leaving their companions to their fate. The returns show that even this regiment suffered severely in the engagement. A desultory combat followed, in which each of the entrapped Americans fought for himself, taking advantage of whatever opportunities offered for defence. The remnant of the surprised and disordered troops, thus brought to bay, proved formidable opponents, and punished severely the Indians, who bore the brunt of the fighting. Quite early in the action several of the American officers were killed or wounded. General Herkimer was shot through the leg, and his horse was killed. The saddle was removed from the animal and placed at the foot of a tree. Upon this the disabled general was seated by his men, and by his coolness and indifference to suffering and to danger won their respect. A heavy shower, which interrupted the progress of the battle, afforded opportunity for the Americans to arrange for co-operation. After the shower was over, the contest was renewed, and, according to the American accounts, fresh troops from the English camp participated. Local annals are filled with tales of feats of valor and vindictiveness which characterized this portion of the combat. At length the Indians, wearied with the protracted contest, and disheartened by the loss of several of their warriors, left the field. The English troops closely followed them. A diversion made by the garrison probably hastened the retreat. During this action the American loss was, according to their own accounts, about two hundred killed and nearly as many wounded and prisoners. The British loss was stated by themselves to have been not over six killed and four wounded. From the same source we learn that the Indians lost thirty-three killed and about as many wounded.
THE BUTLER BADGE.
Note.—The above cut of a brass emblem worn by Butler's men follows one in Simms's Frontiersmen of New York, ii. 68, drawn from a sample ploughed up in Otsego County;—Ed.
After the shower which checked the battle at Oriskany was over, Colonel Willett, at the head of two hundred and fifty men, with a three-pound carronade, sallied forth from the fort. The camp was almost entirely unprotected. Lieutenant Bird, who was in charge of the portion which Willett attacked, had received information that Sir John Johnson needed succor, and had abandoned his post and marched towards Oriskany. Colonel Willett penetrated the camp, secured a large quantity of guns, ammunition, Indian weapons, blankets, etc., captured nearly all the books and papers of the expedition, evaded an attempt on the part of St. Leger to cut off his retreat, and safely effected his return to the fort with all his plunder, without losing a man.[1305] The Indians, before going out to fight, had[632] stripped themselves nearly naked. On their return to camp they found neither clothing, tents, nor blankets. Thus ended the day. The relief party under Herkimer was shattered. The fort was still besieged, and the besiegers had now opportunity to open their communications; but their camp had been rifled, and their Indian allies, discouraged by their losses, had no further interest in the siege, and began to think of home. St. Leger sought to secure a capitulation on the ground of the defeat of Herkimer, and caused the captured militia to write accounts setting forth the strength of his force and the excellence of his artillery; but Gansevoort was firm. The argument that the English would be unable to restrain the Indians from barbarities if the siege were protracted was also spurned by the garrison. Failing in this direct attempt upon their fears, an effort was made to reach them through the people of the county. A proclamation was put forth by Sir John Johnson, D. W. Claus, and John Butler as superintendents. This also was of no effect. It being desirable to communicate with Albany, Colonel Willett and Major Stockwell penetrated through the enemy's camp by night, and proceeded on foot through the woods to Fort Dayton. From that point Colonel Willett went to Albany. He found that General Arnold had already been ordered to relieve the fort. The siege, notwithstanding the fact that the artillery was of little avail, was continued until the 23d of August. The garrison, ignorant of the fate of Colonel Willett and Major Stockwell, were in grave doubts as to how long they could hold out. On the 23d, the enemy suddenly abandoned their camp, leaving a great quantity of material behind. The retreat was precipitated by false intelligence which Arnold caused to be conveyed to the English camp. St. Leger evidently suspected the ruse, but was unable to prevent its effects.
The gallant Herkimer did not long survive the battle. A simple, unlettered man, without experience in leading troops, he paid the penalty of his mistakes at Oriskany with his life. His intrepidity during the action and the coolness with which he faced death convinced his followers of his dauntless courage, and his loss was deeply felt.
The Indians, in their resentment for the severe losses with which they had met, murdered several of the American prisoners. They also burned one of the Oneida settlements, destroyed the crops, and killed or drove away the cattle belonging to the village. Colonel Butler, in his report to Sir Guy Carleton concerning affairs at Fort Stanwix, coolly says, "Many of the latter [prisoners] were, conformable to the Indian custom, afterwards killed." On the retreat the Indians became uncontrollable, and robbed the English officers. In the words of St. Leger, they "became more formidable than the enemy we had to expect."
The failure of St. Leger and the capitulation of Burgoyne placed the affairs of the colonies in such position that Congress deemed it worth while to renew negotiations with the Indians. The time seemed opportune for securing the services of the Six Nations, and the commissioners were, on[633] the 3d of December, 1777, instructed "to urge them to some decisive enterprise which will effectually tie them to our cause." On the 4th the commissioners were authorized to expend $15,000 as a reward to the Indians for reducing Niagara. In February, 1778, they were instructed to speak to the Indians "in language becoming the representatives of free, sovereign, and independent States." "Whether it would be prudent to insist upon the Indians taking an active part in behalf of these States" would depend upon the temper in which they should appear to be. Action upon that point was submitted to the discretion of the commissioners. The temper of the Senecas was found to be far from favorable; and instead of attending the conference, they sent a message expressing surprise that while the tomahawk was still sticking in their heads, and they were still grieving for the loss of their friends at Oriskany, the commissioners should think of inviting them to a treaty. On March 4th, Washington was empowered by Congress, if he should think it prudent and proper, to employ in the service of the United States a body of Indians, not exceeding five hundred. On the 7th, Colonel Nathaniel Gist was instructed to enlist Indians on the borders of Virginia and North Carolina, not to exceed two hundred in number. On June 11th, Congress recommended aggressive warfare, being satisfied, from the presence of British agents among the Indians, that the cruel war had been "industriously instigated" and was still being "prosecuted with unrelenting perseverance by principal officers in the service of the king of Great Britain."
In 1778, according to the plan of campaign as given by Guy Johnson in his correspondence, the English forces on the western borders of New York were divided into two bodies: one, consisting of Indians under Brant, to operate in New York, while Deputy Superintendent Butler with the other should penetrate the settled district on the Susquehanna. Brant, who, according to Colonel Claus, "had shown himself to be the most faithful and zealous subject his majesty could have in America", did his work unsparingly, and ruin marked his track. In the valley of the upper Mohawk and the Schoharie nothing but the garrison-houses escaped, and labor was only possible in the field when muskets were within easy reach. Occasionally blows were struck at the larger settlements. In the last of May, Brant, with about three hundred and fifty Indians, destroyed a number of houses in the Cobleskill Valley, and routed, with severe loss, a militia company which attempted to pursue him.[1306] In June, the little town of Springfield, at the head of Otsego Lake, was burned. Such of the men as did not take flight were seized as prisoners. The women and children were not injured.[634] During the same month, Sir John Johnson, with a company of loyalists, made a sudden descent upon the Mohawk Valley, the scene of their former homes, and took a number of citizens prisoners.
In July, 1778, the threatened attack on Wyoming took place. This region was at that time formally incorporated as the county of Westmoreland of the colony of Connecticut. This result had been accomplished by the persistence of the emigrants, under most discouraging circumstances and at the expense of some bloodshed. In the fall of 1776, two companies, on the Continental establishment, had been raised in the valley, in pursuance of a resolution of Congress, and were shortly thereafter ordered to join General Washington.[1307] Several stockaded forts had been built during the summer at different points. The withdrawal of so large a proportion of the able-bodied men as had been enlisted in the Continental service threw upon the old men who were left behind the duty of guarding the forts. Repeated alarms, during the summer of 1777, compelled the young men to scour the woods, but their vigilance did not prevent some prisoners being taken by the Indians. In March, 1778, another military company was organized, by authority of Congress, to be employed for home defence. In May, attacks were made upon the scouting parties by Indians, who were the forerunners of an invading army. The exposed situation of the settlement, the prosperity of the inhabitants, and the loyalty with which they had responded to the call for troops, demanded consideration from Connecticut, to whose quota the companies had been credited, and from Congress, in whose armies they had been incorporated; but no help came. On June 30th, an armed labor party of eight men, which went out from the upper fort, was attacked by Major Butler, who with a force estimated by the American commander in his report at eight hundred men, Tories and Indians in equal numbers, had arrived in the valley. This estimate was not far from correct; but if we may judge from other raiding forces during the war, the proportion of whites is too large, for only a few local Tories had joined Butler. The little forts at the upper end of the valley offered no resistance to the invaders.
On July 3d, there were collected at "Forty Fort", on the banks of the river, about three miles above Wilkesbarré, two hundred and thirty Americans, organized in six companies (one of them being the company authorized by Congress for home defence), and commanded by Colonel Zebulon Butler, a resident in the valley and an officer in the Continental army. It was determined, after deliberation, to give battle. In the afternoon of that day, this body of volunteers, their number being swelled to nearly three hundred by the addition of old men and boys, marched up the valley. The invaders had set fire to the forts of which they were in possession. This[635] perplexed the Americans, as was intended, and they pressed on towards the spot selected by the English officer for giving battle. This was reached about four in the afternoon, and the attack was at once made by the Americans, who fired rapidly in platoons. The British line wavered, but a flanking fire from a body of Indians concealed in the woods settled the fate of the day against the Americans. They were thrown into confusion. No efforts of their officers could rally them while exposed to a fire which in a short time brought down every captain in the band. The Indians now cut off the retreat of the panic-stricken men, and pressed them towards the river. All who could saved their lives by flight. Of the three hundred who went out that morning from Forty Fort, the names are recorded of one hundred and sixty-two officers and men killed in the action or in the massacre which followed. Major Butler, the British officer in command, reported the taking of "two hundred and twenty-seven scalps" "and only five prisoners." Such was the exasperation of the Indians, according to him, that it was with difficulty he saved these few. He gives the English loss at two whites killed and eight Indians wounded.[1308]
During the night the worst passions of the Indians seem to have been aroused in revenge for Oriskany. Incredible tales are told of the inhumanity of the Tories. These measures of vengeance fell exclusively upon those who participated in the battle, for all women and children were spared.
As soon as the extent of the disaster was made known, the inhabitants of the lower part of the valley deserted their homes, and fled in the direction of the nearest settlements. Few stayed behind who had strength and opportunity to escape. In their flight many of the fugitives neglected to provide themselves with provisions, and much suffering and some loss of life ensued. The fugitives from the field of battle took refuge in the forts lower down the valley. The next day, Colonel Zebulon Butler, with the remnants of the company for home defence, consisting of only fourteen men, escaped from the valley. Colonel Denison, in charge of Forty Fort, negotiated with Major Butler the terms of capitulation which were ultimately signed. In these it was agreed that the inhabitants should occupy their farms peaceably, and their lives should be preserved "intire and unhurt." With the exception that Butler executed a British deserter whom he found among the prisoners, no lives were taken at that time. Shortly thereafter, the Indians began to plunder, and the English commander, to his chagrin,[636] found himself unable to check them. Miner even goes so far as to say that he promised to pay for the property thus lost. Finding his commands disregarded, Butler mustered his forces and withdrew, without visiting the lower part of the valley. The greater part of the Indians went with him, but enough remained to continue the devastation, while a few murders committed by straggling parties of Indians ended the tragedy. The whole valley was left a scene of desolation. In August the American forces returned, and a few settlers came back and endeavored to save some of their crops, but occasional surprises by Indians warned them that the region was still unsafe. In September, Colonel Hartley marched with one hundred and thirty men against the Indian towns of Tioga and Sheshequin, and broke up those settlements.
Brant, meanwhile, had not been idle. On July 18th he burned a little settlement about six miles from German Flats, called Andrustown. In the latter part of August, German Flats, a settlement containing thirty-four houses, was destroyed and the cattle were driven away. Only two lives were lost, the inhabitants having taken refuge in Fort Dayton. The rapine was not, however, all on one side. From Schoharie an American expedition under Colonel William Butler threaded its way through the woods, forded the flooded streams, and destroyed the Indian town of Oquaga, and on their return burned the Tory settlement and the grist and saw mills at Unadilla.
In the spring of 1778, General Lafayette ordered a fort to be built at Cherry Valley, and this post was afterwards garrisoned by the Continental regiment under Colonel Ichabod Alden. During the fall, information of a positive character was conveyed to Colonel Alden that the place was threatened. Some of the officers of the garrison were accustomed to sleep outside the fort, and notwithstanding the warning, this practice was continued. Neither Alden nor his men were familiar with Indian warfare. The citizens wished to move their effects into the fort, but Colonel Alden quieted them by saying that he had good scouts out, who would give timely warning. One of these scouting parties, through carelessness, was captured on the night of November 10th, and by this means the enemy learned the exact condition of affairs. The invading force is said to have consisted of two hundred whites and about five hundred Indians, the whole under command of Captain Walter N. Butler. This officer had been arrested as a spy near Fort Stanwix during the siege, and had been condemned to death, but had been reprieved, and had escaped from custody. He had with him a body of Senecas, besides Brant and his Mohawks. The night after the capture of the scouting party, the enemy encamped near the village. On the morning of the 11th, under cover of a heavy rain, they penetrated a swamp in the rear of the house used as headquarters, where they concealed themselves, awaiting a favorable opportunity for attack. Chance favored the garrison, and gave them a brief warning. A resident of the valley, on the way to the village, at about half past eleven o'clock discovered two Indians, and was fired upon by them.[637]
From the Gesch. der Kriege in und ausser Europa, Dreyzehnter Theil, Nürnberg, 1778. The original of this design was a print published in London, Aug. 22, 1776. Reproductions of it will be found in Irving's Washington, quarto ed., vol. iii.; E. M. Stone's Our French Allies, p.76; T. C. Amory's Sullivan. Cf. also Murray's Impartial History, p. 241; Jones's Campaign for the Conquest of Canada, p. 88; Lossing's Field-Book, i. 272.
For a view of Gen. Sullivan's house at Durham, N. H., with a paper on its associations, see Granite Monthly, v. 18, 80. For his family, see N. E. H. and Gen. Reg., 1865, p. 304.—Ed.
Although wounded, he was able to reach headquarters in advance of the enemy, and give the alarm. The regimental officers hastened towards the fort, and some of them succeeded in reaching it before the Indians surrounded it. Colonel Alden was one[638] of the first victims of his own infatuation, having been shot while trying to reach the fort. For three hours and a half the enemy protracted their efforts to capture the post. Sixteen Continental soldiers were killed during the attack on the village, and thirty-two of the inhabitants, principally women and children, were massacred. Some of the murders were committed under circumstances of peculiar barbarism, in which whites competed with Indians. The houses, barns, and out-houses of the settlement were burned. The garrison, although too weak to attack the enemy, was strong enough to defend the fort. The enemy having completed the work of destruction as far as they could, retired, but made a feeble renewal of the attack on the 12th. This was easily repelled, and they then devoted themselves to collecting the cattle belonging to the villagers. The greater part of the prisoners who had been captured were liberated on the 12th, and permitted to return to the settlement. In setting them free, Captain Butler entered into a correspondence with General Schuyler, in which he endeavored to relieve himself from responsibility for the massacre. Brant also denied responsibility for it. Butler in his letter asserted that at Wyoming "not a man, woman, or child was hurt after capitulation, or a woman or child before it." If we admit the disclaimers of the Butlers, father and son, the fact still remains that they headed raiding parties, where plunder and destruction of property were the main purposes of the expeditions, and where the massacre of the inhabitants was one of the possibilities of success. Strip from the stories of Wyoming the exaggerations of the frightened refugees, the brutal massacre of the prisoners remains. The mercy which was extended to the prisoners at Cherry Valley merely reduces the number of horrors which were committed there. The massacre still stands out conspicuously as the most shocking in its details of any event in this region during the Revolution. Fortunately for the memory of Sir John Johnson, notwithstanding his prominence as the scourge of the Mohawk Valley during the war, his name is not associated with either of these events.
On March 6, 1779, Washington, acting under instructions from Congress, "to take effectual measures for the protection of the inhabitants and the chastisement of the Indians", tendered to General Gates the command of an expedition "to carry war into the heart of the country of the Six Nations, to cut off their settlements, destroy their next year's crops, and do every other mischief which time and circumstances will permit." This offer Gates declined, and on March 31st General Sullivan was appointed to the command. He was to lay waste all the Indian settlements in the most effectual manner, "that the country may not be merely overrun, but destroyed." Sullivan was to assemble his forces in Pennsylvania. General James Clinton was to assemble a force in the Mohawk Valley. In all the preliminary discussions of the campaign it was contemplated to make the main advance by way of the Mohawk. This idea was,[639] however, abandoned, and it was arranged that Clinton should cross over to the Susquehanna River, and by that route effect a junction with Sullivan. As a preliminary to the campaign, Colonel Van Schaick, on the 18th of April, left Fort Stanwix at the head of five hundred and fifty-eight men, including officers, and made a sudden descent upon the Onondaga towns. The expedition was completely successful, and on the 24th Van Schaick was back at the fort, and able to report that this work of destruction and plunder had been accomplished, with the loss of only one man. On June 16th, General Clinton arrived at Canajoharie, where he found about fifteen hundred troops. From that point over two hundred boats and three months' provisions for the command were transported over the hills to Lake Otsego. On June 30th, Clinton reported to Sullivan that this transfer had been accomplished, and that he was now ready to come down the river. Here he remained with his troops until August 9th, awaiting orders. Meantime he constructed a dam across the outlet of the lake, by means of which he raised the water about a foot.
By the latter part of June the troops which were under Sullivan's immediate command had assembled in the Wyoming Valley. They numbered, on the 21st of July, 2,312 rank and file. They remained in this valley, awaiting the arrival of stores, until the last day of July, when marching orders were issued. During this period of idleness the troops at Wyoming and at Lake Otsego chafed at their inaction. The enemy continued the policy of desultory attacks and devastating raids, some of which were committed in close proximity to the American encampments. In May, at Fantinekill and at Woodstock, in Ulster County, New York, houses were destroyed, cattle killed, and prisoners taken. On the night of July 19th, Brant, with a force one third white and two thirds Indians, variously estimated at from ninety to one hundred and sixty men, made a descent upon the Minisink settlement. The citizens and militia of Goshen marched next day in pursuit, and were joined on the 21st by a small detachment of the Warwick militia, the whole number being, according to Colonel Hathorn, who took command, one hundred and twenty. On the 22d they overtook Brant, were completely outwitted by him, and were defeated, with a loss of forty-four killed.
In Pennsylvania several outrages were committed in the immediate vicinity of Sullivan's army. On July 28th Freeland's fort, on the West Branch of the Susquehanna, was taken by the enemy, and a small detachment sent from Northumberland for its relief was badly cut up. Neither Clinton nor Sullivan were diverted from the purposes of the campaign by these forays. The Oneidas had agreed to join Clinton, but were prevented by a threatening message from General Haldimand. They excused themselves to the American general on the ground that they feared an attack on their castles, should they assist in the campaign. Their defection had no influence upon operations. On the 13th Sullivan destroyed the Indian town of Chemung, and then fortified a post at a narrow point on the peninsula, a short distance[640] above the junction of the Tioga and Susquehanna. Clinton, on receipt of orders to advance, destroyed the dam at the foot of the lake on the 9th, and successfully embarked his bateaux on the flood of his own creating. On the 22d the junction of the two columns was effected. On the 26th the united forces moved forward, and on the 29th encountered the enemy under the Butlers, McDonnell, and Brant at Newtown, five miles from Elmira. Here the enemy had selected a spot on rising ground which commanded the road, and had thrown up a rude breastwork of logs. Some attempt had been made to conceal it by placing before it brush and young trees. Here they were apparently prepared to make a stand. General Poor was dispatched with his brigade to gain a hill to the right, and from thence to attack the enemy's left flank. After allowing some time for Poor to reach his destination, Sullivan opened with his artillery. Poor met with resistance, but when he had forced his way to a position which became threatening to the enemy, they abandoned their whole line.[1309] On the 30th Sullivan proposed to his men, as provisions were short, that they should go on half rations, trusting to the country to furnish them the rest. This was readily agreed to. The baggage and heavy guns were sent back, and on the 31st the column advanced, taking for campaign artillery four light three-pounders and a small howitzer. The main army marched down the east side of Seneca Lake to its outlet, destroying villages, cornfields, and orchards on the way. From the foot of the lake a party was sent down the Seneca River towards Lake Cayuga to destroy a town, and another was sent a short distance up Lake Seneca, on the west side, for the same purpose. From the foot of this lake the main army moved westward, skirting the northern ends of lakes Canandaigua, Honeyoye, and Hemlock, destroying as it moved. Then it bore to the southwest, and passed the southern end of Lake Conesus. On the 14th of September, about sunset, the expedition arrived at the great castle of the Senecas, on the west side of the Genessee River, and on the opposite side of the valley from the site of Geneseo. On the evening of the 12th, as the army approached this region, Sullivan ordered a scouting party to be sent out. It was his intention that only five or six men should go, but the officer in charge of the party, Lieutenant Thomas Boyd, took with him twenty-six men, including the Indian guides. In the darkness, Boyd unconsciously passed the encampment of Butler and his force, who were ambushed near Lake Conesus, waiting for Sullivan. On the morning of the 13th, Boyd, having reconnoitred an Indian town, sent word to camp by two of his men, and halted where he intended to await the approach of the army. While waiting here, some Indians were discovered by the party, whom Boyd indiscreetly pursued. By this means his force was led directly into the power of Butler, whose men completely[641] surrounded the Americans and opened fire upon them. Nerved to desperation, a gallant attempt was made by the devoted band to break through the enemy's lines. In this attempt eight of them succeeded. Fifteen of the party were killed. Two, Boyd and his sergeant, were captured. The two captives were taken to Seneca Castle, or "little Beard's town", and honored for their brave defence with tortures of unusual cruelty. The "western door of the Long House", as this place was termed by the Indians, consisted of one hundred and twenty-eight houses, some of which were well built. The gardens were filled with corn and vegetables. All these were destroyed; and on the 15th the army, having completed its work, began its return march. Sullivan had, on the outward march, dispatched a messenger from Catharine's town to the Oneidas, calling upon them to furnish him with some warriors. At Kanadasaga, near the foot of Lake Seneca, on his return, he received a message from them, explaining why their warriors had failed him, and putting in a plea for mercy in behalf of the Cayugas. He accepted their excuses, but paid no attention to their requests. From Kanadasaga he sent Colonel Smith, with a command, to complete the destruction on the west side of Lake Seneca. He also detached Colonel Gansevoort, with one hundred and five men, with instructions to proceed to Albany, and on the way to destroy the lower Mohawk Castle. Through motives of policy, the latter part of this order was not carried out to the letter. A detachment was also sent out to destroy the towns on the eastern side of Lake Cayuga. On the 21st another detachment was dispatched, with orders to lay waste the towns on the western side of Lake Cayuga, and to intercept the Cayugas if they should attempt to escape the officer who had gone up on the other side of the lake. The rest of the army then marched south, between Seneca and Cayuga lakes. When they reached the valley of the Tioga, an expedition was sent up that river on an errand of destruction. On the 28th these several detachments, with the exception of Gansevoort's, had all rejoined the main column, having accomplished their work without resistance. They were then met by a supply of provisions from Tioga. The work of destroying Indian towns and crops was finished. Fort Sullivan, near the junction of the rivers, was abandoned and razed. The army descended the Susquehanna to Wyoming, which place they reached October 7th. By the route which they took, the distance marched by the army, in going from Wyoming to Seneca Castle, was two hundred and fifteen miles, all of it in Indian country, without a road over which a wagon could be transported. Forty Indian towns were destroyed. Some of them were insignificant. Several had from twenty to thirty houses. One had one hundred and twenty-eight houses. Colonel Gansevoort, speaking of the lower Mohawk Castle, said: "It is remarked that these Indians live much better than most of the Mohawk families. Their houses were well furnished with all necessary household utensils, and a great plenty of grain." The excellent construction of some of the houses of the Seneca and Cayuga villages was a source of surprise to the invaders.[642] They marvelled at the well-conditioned orchards, the cultivated gardens, and the extensive cornfields. They left behind them, on the sites of these villages, smoking ruins and blighted vegetation. Notwithstanding the fact that the expedition was delayed so long waiting for stores, it was undertaken with the certainty that there was not enough on hand for the purpose, if the army was to rely upon what was supplied. General Sullivan was compelled to march thus or not at all. In numbers the troops fell short of what had been counted on. They met with no opposition worthy of note. The losses during the campaign, by accident, by sickness, and in the field, amounted to only forty. They could not have foreseen that General Haldimand would be so completely bewildered as to their intentions, and that he would refuse to believe that they could purpose invading this region, until too late to render the Indians assistance.[1310] The greater part of the warriors of the Six Nations were in the field on the side of the English. It was but reasonable to anticipate that the Indians would receive aid from their allies in defence of the Indian country. Everything militated against the probability of the expedition being able to accomplish its work with such ease. The expedition was too large to treat the question of supplies in the same way that an ordinary raiding party would have done. Through the delays in procuring supplies, it was prosecuted at a time when the army could subsist partially upon the growing crops. Had Sullivan started when he expected, he must have depended upon his train. Otherwise the Indians could easily have destroyed their stores and impeded the progress of the army.[1311]
As a part of the original scheme, a simultaneous movement from Fort Pitt against the Indian towns on the Alleghany was ordered. The difficulty of communication between the two forces led to the abandonment of all idea of co-operation. Colonel Brodhead, who had charge of the movement on the Alleghany, was left to pursue his own course. On August 11th he[643] left Pittsburgh at the head of six hundred and five rank and file, with one month's provisions. With this force he proceeded up the river by boat to Mahoning; there the stores were loaded on pack-horses, and the march was begun. On the way to the Indian towns the advance guard came in contact with a party of between thirty and forty warriors, whom they put to flight. The detachment marched for a distance of about two hundred miles from Pittsburgh, and destroyed the Indian settlements along the Alleghany extending for eight miles, and consisting of one hundred and thirty houses. The growing crops and provisions were ruined. This extraordinary march was made without the loss of a single man, and without meeting any warriors except the party already mentioned.
On October 20, 1779, Washington wrote to the Marquis de Lafayette, saying: "General Sullivan has completed the entire destruction of the country of the Six Nations, driven all the inhabitants, men, women, and children, out of it, and is at Easton on his return." He further said that Colonel Brodhead had inflicted similar chastisement on the "Mingo and Muncey tribes", living on the Alleghany, French Creek, and other waters of the Ohio. Washington concluded with these words: "These unexpected and severe strokes have disconcerted, humbled, and distressed the Indians exceedingly, and will, I am persuaded, be productive of great good; as they are undeniable proofs to them that Great Britain cannot protect them, and that it is in our power to chastise them whenever their hostile conduct deserves it."[1312] The cruel steps taken against the Senecas, Cayugas, and Onondagas were probably justifiable as war measures. War against these Indians without the adoption of their own tactics could only be prosecuted at a great disadvantage.[1313] The destruction of their homes and the consequent removal of the natives to a point more distant from the American settlements, together with the necessity thus thrown upon the British government of providing for their allies, undoubtedly affected the aggressive power of the Indians and diminished the value of their alliance. But if it was expected that raids upon the border settlements would be stopped by this campaign, then the authorities must have been disappointed. The border knew no peace until the war was ended.
The Indians, driven out of their own country and left without shelter and without food, took refuge at Niagara for the winter. The Oneidas feared an attack, and abandoned their castles. About four hundred of them placed themselves under the protection of the government at Schenectady. In April, 1780, the settlement at Harpersfield was destroyed, and a scouting party of Americans which happened to be in the neighborhood was captured. Repeated blows were struck at the scattered, poorly defended[644] settlements along the border. The lower Mohawk was invaded by a force under Sir John Johnson, and the local histories, in their records of the work of the summer of 1780, have a melancholy monotony of conflagration and plunder. In August the settlement at Canajoharie was laid waste by Brant, and several small settlements adjacent to Canajoharie, and at Norman's Kill, not far from Albany, were ravaged. From the valley of the Mohawk the enemy moved southward, destroying a number of houses and capturing prisoners in Schoharie Valley. In October, 1780, Schoharie Valley was again ravaged, this time from the south, by an invading force of about one thousand in all, under Sir John Johnson, which consisted of Tories, together with Brant and his Mohawks, and Cornplanter with a body of Senecas. They had, by way of artillery, two small mortars and a brass three-pounder.[1314] There were three forts in the valley, in which the inhabitants took refuge. The invaders did not succeed in capturing either of the forts, and the loss of life in them was small, but they left scarcely a building standing in the whole valley.
After thoroughly completing the work of destruction in Schoharie Valley, the invaders proceeded to the valley of the Mohawk, and ravaged the country on the north side of the Mohawk from Caughnawaga to Stone Arabia and Palatine. A little force from Stone Arabia, acting, it is supposed, under a promise of support from General Van Rensselaer, undertook to check them. The general had collected some of the militia, and was to fall upon the rear of the enemy. The promised support was not furnished. Colonel Brown, who led the attacking party, was killed, and his followers were badly cut to pieces. After this encounter Sir John's forces renewed their work of destroying property in the neighborhood of Stone Arabia, and then moved slowly up the river, ravaging the country as they went. The invaders were followed by the Americans, whose numbers increased as they moved, until they were numerically stronger than the enemy. There were some Oneidas with the Americans, under command of one of their own number holding a commission from the Continental Congress as lieutenant-colonel. On the afternoon of October 20th, just at nightfall, a skirmish took place between the two commands at the spot selected by Sir John for his evening bivouac. It was soon terminated by the increasing darkness, of which the Americans took advantage to withdraw to a camping place about three miles back, and the invaders, availing themselves of the opportunity, hurriedly sought the woods. During their flight the enemy captured a party of Americans which had been dispatched to destroy their boats.[1315] After this raid the upper Mohawk Valley and the Schoharie Valley[645] rivalled in their desolation the region of the lakes which had been invaded by Sullivan the preceding year. Numbers of prisoners had been carried off during these raids, some of whom were liberated shortly after capture. Others were detained till the close of the war. In one instance a child was returned by Brant, with a letter, in which he said "I do not make war upon women and children. I am sorry to say that I have those with me in the service who are more savage than the savages themselves."
Simultaneously with the operations in the Mohawk Valley, the enemy ascended Lake Champlain and captured Forts Ann and George. Portions of Kingsbury, Queensbury, and Fort Edward were burned. A branch of this expedition destroyed the settlement at Ballston. At the same time, a party of about two hundred, chiefly Indians, under Major Haughton of the 53d, left Canada, and destroyed several houses in the upper part of the Connecticut Valley, and carried off thirty-two inhabitants as prisoners.[1316]
The work of retribution on the part of the Indians did not stop with what has been recorded. Even during the succeeding winter Brant was on the war-path, appearing now here and now there in the Mohawk country cutting off stragglers and detached parties. Great difficulty was experienced in furnishing the garrisons at the outposts with provisions. Distress ensued, and there was serious danger that the outlying defences could not be maintained. Fort Stanwix was badly damaged in May, 1781, both by flood and by fire, and in consequence the post was shortly afterward abandoned. The command of the Mohawk Valley was this season assigned to Colonel Willett. He carefully acquainted himself with its condition, and infused a portion of his own active spirit into the management of affairs. Very shortly after he assumed command, on June 30th, Currietown, a village near the mouth of the Schoharie, was destroyed. With a small force, Willett pursued the raiders, overtook them, and routed them with severe loss. In July, Colonel Willett wrote that the number of men in Tryon County liable to bear arms did not exceed eight hundred. At the beginning of the war the enrolled militia numbered 2,500 men. He accounted for this reduction by supposing that one third had been killed or made prisoners, one third had gone over to the enemy, and one third had abandoned the country. Indeed, life in the valley had become almost unendurable. The only places of safety were within the walls of the stockaded forts which were scattered through the region. All through the summer of 1781 detachments of the enemy struck blows at different points along the border. The most conspicuous of these desultory acts of devastation was the destruction[646] of the little town of Wawarsing. Unsuccessful efforts were made this season to seize the persons of both General Gansevoort and General Schuyler. The active movements of the year closed with a foray on the Mohawk by Sir John Johnson and Major Walter N. Butler, in the latter part of October. When the Americans learned the approach of the invaders, Colonel Willett gathered a force together, with which, although inferior in numbers to the enemy, he attacked them at Johnstown. The varying fortunes of the day were, on the whole, with the Americans. The enemy fled, after dark, to the woods. Willett followed them for some days, and had a collision with their rear guard, in which the notorious Major Walter N. Butler was shot through the head and left on the field.[1317] The difficulties of the military as well as the political situation had been greatly complicated this summer by the menacing aspect of the British forces on Lake Champlain, and doubts as to the fidelity of certain of the leaders in Vermont, whose hostility to the threatened extension of the authority of New York over the inchoate State had been pronounced in terms of bitter earnest.
During the summer of 1782, although the frontiers of New York were not altogether quiet, the scene of activity in border warfare was transferred further west. There were none of the organized raids of the enemy in the valleys of the Mohawk and Schoharie, with which the inhabitants had become so familiar.
In February, 1783, the last movement of the war on the border took place in this region. It was an attempt by Colonel Willett to surprise the garrison at Oswego. A forced march of a night and a day was made through the trackless forests, on the snow, from the Mohawk Valley to the vicinity of the fort. Then preparations for the assault were made, but when the column advanced the guide became confused and lost his way. As surprise was essential for success, the attempt was abandoned. Willett and his men found their way back as best they could, enduring on the return march intense suffering from fatigue, cold, and exposure. Colonel Willett then proceeded to Albany, at which place he arrived in time to hear peace proclaimed.
The story of this chapter opened with the determination of a boundary line between the king of Great Britain and his allies. It closes with an assurance on the part of the Continental Congress, which is intended to pacify the Indians, that, "as the country is large enough to contain and support us all, and as we are disposed to be kind to them, to supply their wants, and to partake of their trade, we, from these considerations and from motives of compassion, draw a veil over what is passed, and will establish a boundary line between them and us, beyond which we will restrain our citizens from hunting and settling, and within which the Indians shall not come, but for the purpose of trading, treating, or other[647] business equally unexceptionable."[1318] The discussion of how far the kindly spirit which pervades these promises has been maintained in subsequent dealings with the Indians does not fall within the subject of this chapter.
CRITICAL ESSAY ON THE SOURCES OF INFORMATION.
THE relations of the Indians to the British government and to the colonies during the period immediately preceding the Revolutionary War, is readily studied in The life and times of Sir William Johnson, Bart., by William L. Stone (Albany, 1865, in 2 vols.[1319]), which was intended to form a part of a history of the relations of the Iroquois to current events. Stone completed but two volumes of the series, the Life of Brant and the Life of Red Jacket. The Life of Sir William Johnson, being incomplete at the time of his death, was finished and published by his son, of the same name.[1320] The book for awhile stood alone in its detailed treatment of the official relations and dealings of the superintendent with the Indians. Later publications have infringed somewhat upon its monopoly.
The Pennsylvania Archives, and the Minutes of the Provincial Council of Pennsylvania, commonly cited as "Colonial Records", lay bare the secrets of the province, and furnish authentic information upon many points which prior to their publication were obscure.[1321]
The documentary publications of the State of New York are for the purposes of this chapter of even more value than those of Pennsylvania. They contain many official papers from the hands of Sir William Johnson, and letters from Guy Johnson, Daniel Claus, and Generals Carleton and Haldimand, treating of Indian affairs. Some of these documents help us materially in the study of the situation. The history of the publications known as the N. Y. Colonial Documents and Documentary History of N. Y. is told elsewhere;[1322] but the Journals of the Provincial Congress are of peculiar use in the present inquiry.[1323] Such of the conferences, treaties, and agreements with Indians on the part of the colonies, the Continental Congress, and the government of the United States as have been printed, are scattered through a variety of publications.[1324]
The literature of border life, from which the habits and methods of life of the frontier inhabitants may be drawn, is too extensive to permit any attempt at an exhaustive recapitulation of titles. Especial use has been made in this chapter of Dr. Joseph Doddridge's Notes on the Settlements and Indian Wars,[1325] perhaps the most valuable of the many works upon this subject. Notwithstanding the sufferings from Indian raids which Dr. Doddridge himself endured, he deals fairly with the subject of border warfare, and candidly admits the terrible responsibility of the whites for counter outrages. He draws a vivid picture of the lack of law on the frontier, aggravated as it was by the conflicts of colonies. "In the section of the country where my father lived", he says, "there was for many years after the settlement of the country neither law nor gospel. Our want of legal government was owing to the uncertainty whether we belonged to Virginia or Pennsylvania." "Thus it happened that during a long period we knew nothing of courts, lawyers, magistrates, sheriffs, or constables." "Every one was, therefore, at liberty to do whatever was right in his own eyes."
In An Account of the remarkable occurrences in the life and travels of Col. James Smith, etc., etc.,[1326] the author unconsciously gives us a picture of the lawlessness of frontier life and the power of the volunteers. The story is told in a simple manner, and the narrative is full of interest. The rare Chronicles of Border Warfare, by Alexander S. Withers (Clarksburg, Va., 1831), is a recognized authority, and is frequently quoted. It was reproduced in substantial form in Pritt's Border Life of Olden Times,[1327] a compilation of reprints of volumes, narratives and statements relating to border life. The relations of the Indians to current events are also to be traced in Gale's Upper Mississippi, etc.,[1328] and in Ketchum's History of Buffalo.[1329] The latter work covers much of the ground which Col. Stone had preëmpted. The materials are well arranged, the views of the author are clearly presented, and as a result the volumes form a valuable contribution to the history of the Indians.[1330] Many details will be found collected in Drake's Book of the Indians.[1331]
James Handasyd Perkins was a careful student of the early history of the country, and contributed many articles to the periodical literature of his day on the subject of Indian history and border warfare, which have been collected.[1332] The compiler of Annals of the West,[1333] in the preface to the third edition of that work, says: "The first edition was issued at Cincinnati, where he (the compiler) was assisted by the lamented James H. Perkins, a[649] gentleman highly competent for the task." In the second edition of the Annals "the editor had the valuable assistance of Rev. J. M. Peck, a gentleman whose long residence in the far West, and familiarity with the history of those portions of the work less elaborately treated of in the first edition, rendered him admirably qualified for the undertaking." This work, in its chronological arrangement of events, touches upon a portion of the ground covered by this chapter. In 1791, J. Long published in London a volume entitled Voyages and Travels of an Indian Interpreter, etc. Long arrived at Montreal in 1768. His occupation for the next seven years made him familiar with frontier life and Indian ways. He volunteered in 1775 with the Indians who entered the English service, and was at Isle au Noix with a few Mohawks on the occasion of their collision with the Americans. He also served a short time with the regulars. He states intelligently the value of the alliance of the Six Nations to the English.
Wills de Haas, in his Indian Wars of Western Virginia,[1334] has devoted one chapter to "Land Companies",[1335] and another to the "Employment of Indians as Allies." His treatment of these topics is brief, but the chapters contain much more information on the subjects than can generally be obtained from American histories.
In Fugitive Essays, etc., by Charles Whittlesey (Hudson, Ohio, 1852), an article is reproduced from the January number (1845) of the Western Literary Journal and Review, entitled "Indian history: their relations to us at the time of the American Revolution", which is well worth examination.
The Calendar of the Virginia State Papers and other Manuscripts, 1652-1781 (Richmond, 1875),[1336] though meagre as a whole, is particularly full on the subject of the encroachments of individuals and companies on Indian lands. Among these papers is the deposition of Patrick Henry, setting forth that he felt compelled to withdraw from all connection with land schemes, when, as a member of Congress, he found himself in a position where he might be called upon to act as a judge in matters in which he was directly interested. It may be inferred from what he says that there were among his associates some who were not so scrupulous.
Many of the questions involved in the adjustment of boundaries and settlement of treaties between the Indians and the British government survived the Revolution, and reappeared[650] before the United States Congress in the struggles of land companies for possession of their alleged purchases.[1337] Through the memorials to Congress presented by the Illinois and Ouabache Land Company, which are to be found scattered through the Senate and House documents, as well as in separate tracts, we learn that in order to sustain the claim of this company it became important to show that the Six Nations did not own the Wabash region. For that purpose Deputy-Superintendent Croghan made affidavit that "the Six Nations claim by right of conquest all the lands on the southeast side of the river Ohio down to the Cherokee River, and on the west side of the river down to the Big Miami River."[1338] The king had agreed with the Indians that his people should not go west of an established boundary line. He had warned settlers off their lands. The colonists who were in arms against the king were after the lands, by fair means or foul. What was considered fair means in those days, and what causes there were for the exasperation of the Indians, cannot be fully appreciated unless the subject be followed even beyond the days of the Revolution.
The Register of Pennsylvania[1339] also contains a variety of material relating to the subject. A number of the early documents will be found in Hubley's American Revolution (1805).
In making an estimate of the Indian population within the borders of the United States at this time, I have been obliged to rely largely upon my own deductions. Bancroft (United States, iii. ch. 22), giving an estimate of the number of Indians east of the Mississippi and south of the St. Lawrence and the chain of lakes in 1640, says: "We shall approach, perhaps exceed, a just estimate of their numbers if we allow ... one hundred and eighty thousand souls" (edition of 1841). It will be observed that the foregoing estimate includes the Canadian Indians. In the preparation of the estimate which I have given, I have examined many scattered statements of the number of warriors of the different tribes, which comprehend different areas within their respective limits, and which frequently overlap each other. The arbitrary spelling of Indian names often presents the same name in such different dress as to make its identification difficult. If we bear in mind that the name as it appears in print is a phonetic rendering of a word which from the mouths of different individuals would sound differently to the same ear, and further, that those who have given us the various renderings were men of different nationalities and of different degrees of cultivation, we shall oftentimes be able to recognize the same tribe in separate statements, under names the spellings of which at first sight have no seeming identity. As regards this Indian population, a tabulated statement will he found in Jefferson's Notes on the State of Virginia, which relies upon Croghan, Bouquet, and Hutchins, supplemented by Dodge and Gallatin. Croghan's estimate will be found in Proud's History[651] of Pennsylvania (vol. ii. p. 296.)[1340] Bouquet's estimate will be found in the Historical Account of his expedition,[1341] headed "Names of different Indian Nations in North America, with the numbers of their fighting men." Hutchins's estimate will be found in An historical narrative and Topographical description of Louisiana, by Thomas Hutchins (Philadelphia, 1784, App. iii. p. 65), headed "A list of the different nations and tribes of Indians in the Northern District of North America, with the number of fighting men." Sir William Johnson's estimate of the Present State of the Northern Indians,[1342] made Nov. 18, 1763, will be found in the Doc. Hist. of New York, i. p. 26, and in N. Y. Col. Docs., vii. p. 582.
The estimate of Sir James Wright is in the Georgia Hist. Soc. Coll. (Savannah, 1873), iii. part 2, p. 169. The synopsis of the Indian tribes, by Albert Gallatin, is printed in the Amer. Antiquarian Soc. Proc., ii. Still another list was published in Sketches of the History, manners, and customs of the North American Indians, with a plan for their melioration, by James Buchanan, Esq., his Britannic majesty's consul for the State of New York (New York, 1824, 2 vols.), i. ch. xii. pp. 138-39, where it is called "Names of the different Indian nations hitherto discovered in North America, the situation of their countries, with the number of their fighting men" (1770-1780).
Buchanan claimed to have received this list from Heckewelder, the missionary, and it is identical, except for certain palpable errors in transcribing, with a list in what is now known as Trumbull's Indian Wars, the authorship of which is attributed in the original edition[1343] to the Rev. James Steward, D. D. Dr. J. Hammond Trumbull, in reply to a question from me, says the book was "written by Henry Trumbull, then of Norwich, when about seventeen years old."[1344]
Gilbert Imlay, in A Topographical Description of the Western Territory of North America, etc. (London, 1792, p. 234), gives a list of Indians on both sides of the Mississippi, and from the Gulf to the St. Lawrence. This list was made up from "Croghan, Boquet, Carver, Hutchins and Dodge." The figures that he uses are plainly intended for the number of the fighting-men, but he puts the total population in this district at less than 60,000. In a second and a third edition, the list is modified. He gives twenty-eight tribes east of the Mississippi, and his calculation of population is based upon 700 to a nation or tribe. He finds in all 20,000 souls, and "consequently between 4,000 and 5,000 warriors."
I have had occasion in this investigation to examine somewhat the question of the population west of the Mississippi, for two purposes: 1st, to determine the numbers to be eliminated from some of the general statements which include tribes whose residence was in the Far West; and 2d, to test the question of the proportion of warriors to population. Brackenridge's Views of Louisiana[1345] has proved of especial service for these purposes. There are also some statistics in Perrin du Lac's Voyage dans les deux Louisianes, etc.[1346]
The Collections of the Massachusetts Historical Society contain many estimates of the population of the natives in different parts of the country, made at different times. Among these an estimate (1795, p. 99) of the Creeks, Choctaws, Chicasaws, Cherokees, and Catawbas, furnished by Dr. Ramsay, places their total population in 1780 at 42,033,—fighting men 13,526. An estimate of the Indian nations employed by the British in the Revolutionary War, made by Captain Dalton, superintendent of Indian affairs for the United States (Ibid. x. p. 123), was published in 1783, and gives the number of men furnished by the tribes as 12,680, of whom the Six Nations proper contributed 1,580. The Choctaws, Chicasaws, Cherokees, and Creeks furnished 2,200. The value of this list lies only in the opportunity which it affords for testing the probable accuracy of some of the others.[1347]
There is in the Doc. Hist. of New York (i. p. 17) "an enumeration of the Indian tribes connected with the government of Canada in 1736." It is difficult, if not impossible, to identify many of the tribes in this estimate.[1348]
Elias Boudinot, in A Star in the West; or an humble attempt to discover the long lost tribes of Israel, preparatory to their return to their beloved city, Jerusalem (1816),[653] devotes a small portion of his discussion to the question of population (p. 131 et seq.).[1349]
"A Table of the principal Indian Tribes" was printed in the American Pioneer, a monthly periodical (Cincinnati, i. pp. 257, 408, and ii. 188), where it was credited to Drake's Indian Biography; but in fact it was taken from the Book of the Indians by the same author, which is prefaced with an alphabetical enumeration of the Indian tribes and nations. The numbers of the different tribes are given, and the date of the estimates from which the numbers were derived. Franklin furnished a partial list of warriors in 1762, which may prove useful for comparison, and is included by Benjamin Vaughan in the Political, Miscellaneous, and Philosophical Pieces, &c., written by Benjamin Franklin, &c., &c. Now first collected (London, 1779).[1350]
Colonel Force, in the American Archives, gives a vast amount of material on the employment of Indians as soldiers by the Americans, which before had been lost from sight in scattered publications. The indexes to these volumes do not suitably analyze their contents. The chief corresponding British repositories are Almon's Remembrancer,[1351] a mine which was worked by all the earlier writers upon the Revolutionary War, and to-day the original authority for much of our information; and the Parliamentary Register, often called the Parliamentary Debates,[1352]—more specific accounts of which, as well as of the[654] Annual Register, the Gentleman's Magazine, and the Scots Magazine, will be found in another place. All of these help to show us the information upon which the British public formed their opinions.
The attitude of Congress upon the Indian question has been traced by means of the Journals and Secret Journals of Congress.[1353]
The fact that the powers conferred upon Carleton for the suppression of rebellion in the provinces probably influenced opinion somewhat in the colonies has been already adverted to, as well as the further fact, shown by extracts from other commissions, etc., that there was no special meaning to be attached to the language used in the commissions. That it did have weight and was used as an argument in the discussion is shown in a review of The plan of the Colonies, or the charges brought against them by Lord M——d and others, in a letter to his Lordship, printed in The Monthly Review or Literary Journal (liv., for 1776, p. 408). "Let him review Gen. Carleton's last commission", says the writer. "Your Lordship has already seen it once too often. For what purpose was he authorized to arm the Canadians, and then to march into any other of the plantations, and his majesty's rebellious subjects there to attack, and, by God's help, them to defeat and put to death? For what purpose did Guy Johnson deliver black belts to all the Indian tribes in his district, and persuade them to lift up the hatchet against the white people in the colonies? The Congress is possessed of those very war-belts; they have a copy of Governor Carleton's commission; they have long since possessed the whole plan."
Unfortunately, the chief American compilation, aiming to be a reflex of current news,—Moore's Diary of the American Revolution,—is singularly deficient in excerpts respecting the opinions on employing Indians.[1354] There is need of but brief references to the[655] consideration of the subject among the later writers,—such as Ryerson in his Loyalists of America (ii. ch. 33); Mahon (ch. 52) and Lecky (iv. 14), in their respective histories of England. There is special treatment of the matter by William W. Campbell in "The direct agency of the English Government in the employment of the Indians in the Revolutionary War", published in the New York Hist. Society Proc. (1845, p. 159).[1355]
Frederic Kidder, in The Expeditions of Capt. John Lovewell (Boston, 1865, p. 114), says: "The last trace of them [the Pequakets] as a tribe is in a petition to the government of Massachusetts, dated at Fryeburg, in which they ask for guns, blankets, and ammunition for thirteen men who are willing to enroll themselves on the patriot side. This document was indorsed by the proper authorities, and the request was granted."[1356]
On the 10th of July, 1775, Adjutant-General Gates, at Cambridge, in a circular letter of instructions for the use of recruiting officers, says: "You are not to enlist any deserter from the ministerial army, nor any stroller, negro, or vagabond, or person suspected of being an enemy to the liberty of America, nor any under 18 years of age." "You are not to enlist any person who is not an American born, unless such person has a wife and family, and is a resident in this country" (Niles's Principles and Acts, etc.). Though no mention is made of Indians, the fact of their not being excepted is often pointed out as of significance.
Letters in the N. H. Provincial Papers[1357] betray the fears, along the border, of Carleton and Johnson, and reveal the friendly disposition of the Canadian Indians.
The references for the Kennebec march of Arnold are given in another chapter; but in Senter's Journal, there mentioned, we have the details of Arnold's interview with the Indians at Sartigan, and of the inducements which he offered them for enlisting. The[656] fact that Indians joined the American army at this point is corroborated by Judge Henry, in his Account,[1358] while the topic is also treated in E. M. Stone's Invasion of Canada (Providence, 1867).
Many of the more important acts and resolves of the several colonies, apposite to this inquiry, are in the American Archives. The importance which circumstances gave to the position taken by the Provincial Congress of Massachusetts Bay causes great interest to attach to the proceedings of that body. Many conferences between committees and different Indians were held, the accounts of which are found in A Journal of the Honourable House of Representatives of the Colony of the Massachusetts Bay in New England. Begun at the Meeting House in Watertown in the County of Middlesex on Wednesday the Nineteenth day of July, Anno Domini, 1775.[1359] These will also be found in a reprint of the Journals for 1774-1775, entitled Journals of each Provincial Congress of Massachusetts in 1774-1775, etc., Boston, 1838.
General Gage, in his letter to Stuart, complained of two things: the employment of Indians by the rebels and the shooting of his sentries. It has been shown that the acts[657] of the Massachusetts Bay Provincial Congress justified his first assertion. As to the second, see Frothingham's Siege of Boston.[1360]
The Military operations in Eastern Maine and Nova Scotia, during the revolution, chiefly compiled from the journals and letters of Col. John Allan, by Frederic Kidder (Albany, 1867), completes the story of the attempt to secure the services of the Eastern Indians, and gives the reasons alleged by the Indians for not complying with the treaty entered into at Cambridge, to furnish a regiment.[1361]
The events which took place in the Mohawk Valley during the summer and fall of 1775 were of far-reaching importance. Their history is recorded in the correspondence of such men as Washington and Schuyler, in the meetings of local committees, and in conferences with Indians. Accounts of many of them are to be found in the N. Y. Col. Docs. and in the American Archives. There is besides a mass of material in the possession of scattered families, much of which has been worked over by local historians.[1362] The most important of all these later works is the Life of Joseph Brant (Tha-yen-dan-e-gea), including the Border Wars of the American Revolution, etc., by William L. Stone.[1363]
The prodigious labor performed by Colonel Stone in the classification and orderly arrangement of the immense amount of his material will be gratefully appreciated by the investigator to-day, even though he has at command publications by the state and national[658] governments containing much of the same material. Since Colonel Stone's day other laborers have been diligently at work in the same field, gleaning facts and collecting historical material of various kinds. Their work has revealed some errors in the Life of Brant,[1364] which are not of such importance, however, as to displace the work from its position[659] as the chief authority on the subject. The habits and modes of life of the Indians and the organization of the confederacy of the Six Nations were not understood as thoroughly when Colonel Stone wrote as they are to-day. It is not surprising, therefore, to find that Morgan, in his League of the Iroquois, does not agree with Stone in the assertion that Brant was the principal war-chief of the confederacy. A portion of Stone's ground had been earlier covered by William W. Campbell in his Annals of Tryon County, or the Border Warfare of New York during the Revolution (N. Y., 1831),[1365] a work still looked upon as authority upon many points, republished (1849) as The Border Warfare of New York during the Revolution, or the Annals of Tryon County. Another volume devoted to the same topics, but widely different in character and in execution, is Jephtha R. Simms's History of Schoharie County and Border Wars of New York (1845), republished in 1882, with additional matter, as The Frontiersmen of New York, showing customs of the Indians, vicissitudes of the pioneer white settlers, and Border Strife in two wars, with a great variety of romantic and thrilling stories never before published,—both editions showing an industrious care to amass, with little skill in presentation.
The Revolutionary War divided the councils of the Six Nations. Had they acted as a unit in favor of the English, the problem would have been more difficult for the provincials. The friendly warnings of the Oneidas were of constant use to the Americans throughout the struggle. Their position materially changed the problem which was set for St. Leger, and though they did not then act aggressively, their unfriendly attitude must have caused his retreating column uneasiness. These Indians were probably of greater service as neutrals—who in that character were able to penetrate the enemy's country and report what was going on—than they would have been had they taken up the hatchet on the American side at the outset. Their attitude was largely due to the Rev. Samuel Kirkland, the missionary.[1366]
In the account of the border wars, as in all other respects, Lossing's Field-Book is a useful publication, based upon ordinarily accepted authorities, with local anecdotes, traditions, and descriptions interjected by the author.[1367] A contemporary narrative (Mass. Hist. Soc. Coll., ii.), called an "Historical Journal", was necessarily written without opportunity for critical revision.
We have a narrative of events from the English side in Stedman's American War, where it is said that Montgomery was "joined by several parties of Indians" (i. p. 133),[660] and that Ethan Allen's party numbered "about one hundred and fifty men, composed of Americans and Indians." One inducement for Burgoyne's employment of Indians was "a well-grounded supposition that if he refused their offers they would instantly join the Americans." Wyoming, we learn, "fell a sacrifice to an invasion of the Indians" (ii. p. 73). He speaks of "the Indian settlements of Unadilla and Anaguago, which were also inhabited by white people attached to the loyal cause."
Thacher's Military Journal, a contemporaneous account of current events on the American side, as they appeared or as they were told to the author, is often of help in fixing the date of some event about which there is a dispute, even when the description itself of the action is meagre, or consists of mere mention. Thus he puts the destruction of Cobleskill in 1778, when Campbell says it was in 1779,—an error on the part of the later writer, unless there was more than one raid upon that insignificant settlement, as stated by Stone.[1368] Thacher's account of the battle of Oriskany and siege of Fort Stanwix is brief, but it shows that the first stories about the affair were quite reasonable.
In the study of the topography, so far as it was known, and of the geographical nomenclature of the frontier just previous to the outbreak of the Revolutionary War, the Memoir upon the late War in North America, by M. Pouchot,[1369] will be found very useful.
The story of St. Leger's expedition and the battle of Oriskany, though told at some length in this chapter as illustrative of border warfare, is so essential a part of the campaign of Burgoyne that the critical discussion of the authorities has been, except in some matters pertaining to the use of Indians, treated rather in connection with the story of that campaign than here.[1370]
The historical introduction upon Sir John Johnson which Gen. J. Watts De Peyster contributed to The Orderly-Book of Sir John Johnson (Albany, 1882) indicates a marked change of opinion upon the exploits of Johnson, as compared with the views which he had expressed in earlier accounts of the battle of Oriskany published by him in 1859, 1869 (Hist. Mag., Jan.), 1878 (Mag. of Amer. Hist., Jan.), and 1880. He confesses that an examination of the British accounts has given him a somewhat enthusiastic admiration for Johnson's methods, but his repeated study has not yet cleared up all errors.[1371][661] This Orderly-Book gives us the movements of Sir John Johnson's command up to the time that they left Oswego. Through the details for guard and fatigue duty during the delay at Buck Island we get at the different commands which formed the expedition. De Peyster and Stone conclude, from the introduction of a general order for the issue of forty days' rations for five hundred men, just before leaving Buck Island, that this determines the number of St. Leger's command, but the evidence is hardly conclusive.[1372]
In James E. Seaver's Life of Mary Jemison (N. Y., 1856, 4th ed.) we have the story of the way in which the Senecas bewailed their losses, given by a woman who had been long among them as captive and adopted member; and it is on her authority (p. 114) that it is sometimes stated that the English offered bounties for scalps.[1373] An account of the exertions of Red Jacket to keep his people out of the conflict will be found in J. Niles Hubbard's An account of Sa-go-ye-wat-ha, or Red Jacket and his People (Albany, 1886), ch. 3.
As respects the Minisink massacre, the accounts made public by Brant were fairly accurate, though they ran some risk in being transmitted first to Niagara, thence to Quebec, and finally to England. They stand the test of time better than the American accounts. The Tory organ in New York, Rivington's Gazette, printed the first American accounts, representing that only thirty escaped from the ambuscade,—a statement followed in several histories; but the local authorities, on the strength of investigations made at the time of erecting the monument, generally agree on the smaller statements of loss.[1374]
The earliest account of the massacre at Wyoming is in a letter written at Poughkeepsie, July 20, 1778, just after the fugitives had arrived there,[1375] and this account seems to be[663] largely the source whence Gordon, Botta,[1376] and Marshall[1377] drew their accounts. Owing probably to the fact that Marshall cites Ramsay in his footnotes, this last historian is frequently included with the others in the general charge of having furnished an exaggerated and erroneous statement of this deplorable event,[1378] but, in fact, Ramsay is reasonably accurate, and is free from many of the errors which characterize the other narratives.[1379]
Hinman's Connecticut during the Revolution contains an account of the Wyoming massacre, transcribed directly from a contemporaneous publication. A full account of the[664] massacre will be found in Girardin's continuation of Burk's History of Virginia (iv. of the series, p. 314 et seq.), based upon the shocking tales of the fugitives. The popular account was repeated in the History of the Revolution which purported to have been written by Paul Allen.[1380]
Isaac A. Chapman, the first of the local historians to touch the subject, prepared a manuscript, with a preface dated Wyoming, July 11, 1818; but the book was not published until after his death, as A Sketch of the history of Wyoming[1381] (Wilkesbarre, 1830).
Charles Miner, the first to sift out the errors from the accepted accounts, after collecting from survivors their personal experiences, published a series of newspaper sketches which led to his History of Wyoming, in a series of letters from Charles Miner to his son, William Penn Miner, Esq., etc. (Philadelphia, 1845). He carefully chronicled the antecedent history of the Connecticut colony, and gave the first trustworthy detailed account of the invasion, and the articles of capitulation granted to the several forts by Major John Butler. Mr. Miner's agent was apparently refused, at the foreign office, London, a copy of the report of Major Butler. This important document will be found in Wyoming, its history, stirring incidents and romantic adventures, by George Peck, D. D. (New York, 1858).[1382] The author says in his preface: "Forty years since we first visited Wyoming, and from that period we have enjoyed rare advantages for the study of its history." He gives the report of Zebulon Butler to the board of war,[1383] dated at Gnadenhütten, July 10, 1778 (p. 49), the report of Major John Butler to Lieut.-Col. Bolton, dated at Lackuwanak, 8th July, 1778 (p. 52); and there is a thorough résumé of the discussion as to Brant's presence at Wyoming (pp. 87, 88, 89). The report of Butler to Bolton was presumably the document which he received through the favor of Hon. George Bancroft, who cites it (United States, x. 138) in his account of the Wyoming invasion.[1384]
Col. William L. Stone treated the subject in a thorough manner in The Poetry and History of Wyoming containing Campbell's Gertrude of Wyoming, and the History of Wyoming from its discovery to the beginning of the present century.[1385] The book has passed through several editions, and the same historical materials are also used in his Life of Brant.[1386]
The massacre at Cherry Valley has not, like Wyoming, an especial literature of its own. The event is described in the Remembrancer,[1387] and in all the histories, and is fully treated in Campbell's Annals of Tryon County (ch. 5), in Simms's Frontiersmen of New York, and in Stone's Life of Brant (i. ch. 17). Both Campbell and Simms lived in this region, and it was the special field in which Brant was operating. This particular expedition was not under Brant's control. He had apparently concluded the season's work and joined Walter N. Butler's force reluctantly, being jealous of him for having command of the expedition. At Wyoming the soldiers were massacred, but the citizens were spared. At Cherry Valley most of the soldiers escaped, but in the first heat of the attack the citizens were indiscriminately slaughtered. It would have been better for Brant's reputation if he had been[666] present at Wyoming rather than at Cherry Valley,—although so far as his influence is concerned it was evidently exerted to prevent excesses.[1388]
Among the Sparks MSS. (no. xlvii.) in the Harvard College library, there are some extracts from the diary of Benjamin Warren, who was in the fort at Cherry Valley at the time of the attack. He says the attack on the fort was renewed early on the morning of the 12th, but was easily repelled.
The Boston Gazette and Country Journal of Dec. 7, 1778,[1389] contains an account from an officer who was in the fort November 11th, when it was attacked. He says it rained hard that morning. The enemy "passed by two houses, and lodged themselves in a swamp a small distance back of Mr. Wells's house, headquarters; half past eleven A. M. Mr. Hamlin came by and discovered two Indians, who fired upon him and shot him through the arm. He rode to Mr. Wells's, and acquainted the colonel, the lieutenant-colonel, major, and adjutant. The two last (the house at this time being surrounded by Indians) got to the fort through their fire; the colonel was shot near the fort." The fort was subjected to a brisk fire for three hours and a half. On the 12th the enemy collected the cattle, and at sunset left. McKendry's account of the attack on Fort Alden agrees in substance with that of Benjamin Warren.[1390]
The expedition of General Sullivan (1779) against the Indian towns in New York has proved a fertile field for discussion. Its policy has been assailed; its management condemned; its results belittled. There is no want of records of occurrences in the campaign,[1391] but their interpretation has not been settled, and probably never will be. The account of Gordon is especially bitter against Sullivan, and he cuts down the number of villages from forty, as given by Sullivan, to eighteen.[1392]
Thomas C. Amory, in his Military Services of General Sullivan, aims at a vindication of Sullivan by the use of material which was not known to his detractors, and he has diligently pursued this purpose elsewhere.[1393] The character of the charges against Sullivan[667] has been partially indicated in the quotations already given. He has been attacked because he demanded so many troops for the expedition. Whether it would have been wise to venture with a smaller force so far into Indian country, which was within easy supporting distance of the outposts of the enemy, is a matter of opinion, concerning which no new facts have been recently brought to light. We know that Sullivan expected help from the Oneidas which he did not receive, and that he anticipated that the Indians would receive aid from Niagara, in which he was agreeably disappointed. I have already stated that in my judgment he had a right to expect formidable opposition, and the only explanation of his not meeting with greater resistance is to be found in the perplexity in Haldimand's mind occasioned by the boats which Clinton had collected in the Mohawk Valley. On this mental confusion Sullivan could not have counted.[1394] The number of men demanded by Sullivan in the preliminary discussions about the campaign was much larger than the number actually furnished him. It was perhaps not out of place for him to secure, if he could, a force large enough to place his campaign beyond failure, but, taking into consideration the general condition of army matters, the number demanded was entirely disproportionate to the work to be performed. He wanted 2,500 men to march up the Susquehanna, and 4,000 men to invade the towns by way of the Mohawk (F. Moore, Corresp. of Laurens, N. Y., 1861, p. 136). In fact, he had 2,500 men in his own command, and Clinton's force brought the numbers up to 4,000.[1395] He has been accused of making demands for supplies which were unreasonable, both as to quality and as to quantity, and it is evident from Washington's correspondence that he feared Sullivan was not willing to march light enough for such a campaign. While Sullivan was not familiar with Indian campaigns, and perhaps demanded more supplies at the outset than Brodhead, or Clarke, or Williamson would have asked for, the numbers of his command must not be forgotten. Nor must the fact be overlooked that the provisions which were delivered to him proved to have been put up in bad packages, and had spoiled.[1396]
Sullivan has also been found fault with for not protecting from Indian raids the neighborhood in which his army was stationed while waiting for supplies. His action in this respect was deliberate. He was of opinion that the blows struck along the border during this interval of time were intended to divert him from the purposes of the campaign, and that any attempts to check these desultory attacks, by sending out expeditions here and there, would simply be playing into the enemy's hands.[1397] The charge of extravagant living during the march seems absurd. At a time when the army was on half rations and the men were using ingenious devices to take advantage of the growing crops, he could hardly have had much opportunity for riotous living. When the expedition started the corn was green and suitable to roast. As they advanced it became too mature for this, and the soldiers were compelled in other ways to prepare it for food.[1398]
Curious differences of opinion prevailed in the several accounts as to the numbers of the enemy who opposed the army at Newtown. Some of the accounts place them as low as 700, while others put them as high as 1,500.[1399]
Sullivan has been ridiculed for the language used in describing the Indian settlements; but his descriptions, though misleading, are the natural expressions of a man who found in these settlements evidences of a higher civilization than he had expected. A comparison of the entries in the various diaries and journals will show that many were surprised at the excellence of the Indian houses, while others saw only the discomforts of life under such surroundings.[1400] General Sullivan has been assailed because he did not[669] attack Niagara. There had been some discussion about a second campaign against Canada and an attempt on Niagara, but Washington's correspondence shows that it had been abandoned in connection with the campaign against the Indian towns, unless it could be accomplished through the Indians themselves. The instructions to Sullivan show this,[1401] and a letter from Sullivan, given in the Laurens Correspondence (p. 141), shows that Sullivan did not conceive it to be a part of the campaign, even if he had deemed an attack on Niagara possible.
In his report to the Committee of Congress, January 15, 1776, Washington discusses the possibilities for the forthcoming campaign.[1402] For the reduction of Niagara he estimates that an army of twenty to twenty-one thousand men would be required; thirteen thousand to remain in the East, and seven or eight thousand to operate against Niagara. The expenses incident to such a campaign, and the great number of men required, practically put it out of the question, and his conclusion was as follows: "It is much to be regretted that our prospect of any capital offensive operations is so slender that we seem in a manner to be driven to the necessity of adopting the third plan,—that is, to remain entirely on the defensive; except such lesser operations against the Indians as are absolutely necessary to divert their ravages from us." January 18 he wrote to General Schuyler: "It has therefore been determined to lay the Niagara expedition entirely aside for the present, and to content ourselves with some operations on a smaller scale against the savages and those people who have infested our frontier the preceding campaign."[1403]
The details of the work performed by the New Jersey contingent have been fully set forth in General Maxwell's Brigade of the New Jersey Continental line in the Expedition against the Indians in the year 1779. By William S. Stryker, Adjutant-General of New Jersey (Trenton, 1885), a paper read before the New Jersey Historical Society, January 17, 1884.[1404] Various order-books of the campaign have been preserved.[1405]
The Centennial Celebration of General Sullivan's Campaign against the Iroquois in 1779. Held at Waterloo, September 3d, 1879 (Waterloo, N. Y., 1880), was edited by Diedrich Willers, Jr., and contains a carefully prepared and clearly written historical address by the Rev. David Craft, which the editor calls "the most complete and accurate history of General Sullivan's campaign which has yet been given to the public." The diligence of Craft in his search for the sources of authority for the campaign is shown[671] in his "List of Journals, Narratives, etc., of the Western Expedition, 1779"[1406] (Mag. of Amer. Hist., iii. 673), in which the titles of nineteen journals, narratives, etc., which had at that time been published, are given, with information as to the places of deposit of the MSS., and as to the newspapers, magazines, or books in which they were published. The titles and what was known about the places of deposit of eight journals, etc., which had not been published, and of one journal which relates to the Onondaga expedition, and which had been published, are also given.[1407] Of the journals which had not been published when Craft wrote, three, or portions of three, were used by Gen. John S. Clark in his account of the Sullivan campaign in the Collections of the Cayuga Historical Society, Number One (Auburn, 1879,—250 copies), including the journal of Lieut. John L. Hardenburgh, of the Second New York Continental Regiment, from May 1 to October 3, 1779, with an introduction, copious historical notes, and maps of the battlefield of Newtown and the Groveland ambuscade. General Clark also makes use of "parts of other journals never before published,"[1408] which give the work of detachments, thus placing before the reader a complete account of the whole work of the expedition, in the words of those who participated in it, together with a list of journals, etc., similar to that of Craft, but sufficiently different in details to show independent work.
The remains of Lieutenant Boyd and those who fell with him, in their desperate attempt to cut their way through the enemy by whom they were surrounded, were in 1842 removed from their place of burial, and deposited with appropriate ceremonies at Mount Hope. A collection of the various proceedings on this occasion was edited by Henry O'Reilly, as Notices of Sullivan's Campaign, or the Revolutionary Warfare in Western New York; embodied in the addresses and documents connected with the funeral honors rendered to those who fell with the gallant Boyd in the Genessee Valley, including the remarks of Gov. Seward at Mount Hope (Rochester, 1842).
Brodhead's campaign against the Indian settlements on the Alleghany, in Western New York and Pennsylvania, was carried out while Sullivan was on his march. Like Van Schaick's raid on the Onondaga towns, although independently executed, it formed part of the scheme of the season's work. In Gay's Popular History of the United States (vol. iv.) there is a good general account of Sullivan's campaign, but in a note (p. 7) it is said that "Brodhead's expedition has usually been considered of little moment, and it has been denied, or doubted, by some writers, that it ever took place. Its incidents are for the first time collated and fully told by Obed Edson, in the Magazine of [Amer.] History, for November, 1879." As a matter of fact, however, there has never been occasion for investigators to doubt that this campaign had taken place, or to underestimate its value. The report of Brodhead was given to the public at the time,[1409] and was published in full in the Remembrancer (ix. p. 152). Washington, in his letter to Lafayette, which has already been quoted, mentioned the work done by Brodhead with evident appreciation of its extent and value.[1410]
The details of the Mohawk Valley invasions are given in the works by Stone, Simms, and Campbell, which have so frequently been quoted, and in the Remembrancer.[1411] The joint expeditions in 1780 were separately treated by Franklin B. Hough in the Northern Invasion of October, 1780 (New York, 1866,—no. 6 Bradford Club Series; 75 copies printed). The work is described as "a series of papers relating to the expedition from Canada under Sir John Johnson and others against the frontiers of New York, which were supposed to have connection with Arnold's treason, prepared from the originals, with an introduction and notes." Reference has already been made to the fact that Hough differed from Stone as to the cause for the removal of the Oneidas from their castles in the winter of 1779-1780, and their establishment near Schenectady. Hough says (p. 32): "Some of the Oneidas evinced a willingness to join the enemy. To prevent such a misfortune, four hundred of their people were removed to the neighborhood of Schenectady, and there supported at public cost." In a note he adds: "We find nothing among the Clinton Papers to justify the statement of Colonel Stone[1412] (Brant, i. 55) relative to the destruction of the Oneida settlements by the enemy during the winter of 1779-80, and are led to believe that the removal of these people to a place of safety in the interior was a measure of policy rather than of actual necessity from the presence of the enemy." There is among the Sparks MSS. actual evidence that Hough's conclusion was correct. In a letter from General Haldimand, dated at Quebec, Nov. 2, 1779, he says: "He [Sir John Johnson] halted at Oswego, with an intention to cut off the Oneida nation, who have uniformly and obstinately supported and fought for the rebels, notwithstanding the united remonstrances and threats of the Five Nations, joined to every effort in our power to reclaim them. In this he has likewise been disappointed, the Indians of Canada refusing their assistance", etc.[1413] A letter of Guy Johnson to Lord Germain makes the same statements.
A. OPINIONS OF PROMINENT AMERICANS ON THE EMPLOYMENT OF INDIANS IN WAR.
It is not easy to determine the position of prominent individuals on this question prior to the date when Congress had come to a conclusion. The passage of the Quebec Bill in 1774, and the ample powers which were conferred upon Carleton to suppress revolt, had occasioned alarm. Perhaps the circumstances justified suspicion, but there was no special cause for it. The language used in Carleton's commission was copied from the commission of James Murray. If there had been no change of governors, the powers conferred upon the governor could never have been supposed to have been specially directed against the rebellious colonies.[1414] After the outbreak of hostilities, we meet, in the published correspondence of the day, with occasional expressions of opinion on the question of employing Indians. It must not be forgotten that when these letters were written rumors were current that the English in Canada were endeavoring to secure the services of Indians, and to the extent that the writers believed these statements their opinions were doubtless influenced by them. On May 14th, Joseph Warren wrote to Samuel Adams, saying: "It has been suggested to me that an application from your Congress to the Six Nations, accompanied with some presents, might have a very good effect. It appears to me to be worthy of your attention, etc." (Frothingham's Warren). On August 4th, Washington communicated to the President of Congress the opinion of a Caughnawaga chief, that if an expedition against Canada was meditated the Indians in that quarter would give all their assistance. On Sept. 21st, he reported to the honorable Congress that, "encouraged by the repeated declarations of Canadians and Indians, and urged by their requests", he had dispatched the Arnold expedition (Sparks's Washington and his Corresp. of the Rev.). On August 27th, Schuyler wrote to Washington that he was informed that "Carleton and his agents are exerting themselves to procure the savages against us." While he did not believe that Carleton would be successful except in procuring some of the remote Indians to act as scouts, he nevertheless added, "I should, therefore, not hesitate a moment to employ any Indians that might be willing to join us" (Lossing's Schuyler). Judge Drayton, of South Carolina, on September 25th addressed the Cherokee warriors at Congaree in the following words: "So should we act to each other like brothers; so shall we be able to support and assist each other against our common enemies; so shall we be able to stand together in perfect safety against the evil men who in the end mean to ruin you, as well as ourselves, who are their own flesh and blood." In January, 1776, Washington felt that the important moment had arrived when the Indians must take a side. He knew that if the Indians concerning whom he wrote did not desire to be idle, they would be "for or against us." "I am sensible", he added, "that no artifices will be left unessayed to engage them against us." On April 19th he wrote to the President of Congress: "In my opinion it will be impossible to keep them in a state of neutrality; they must, and no doubt soon will, take an active part either for or against us. I submit to Congress whether it would not be better immediately to engage them on our side." On July 13th he reported to the President of Congress that, without authority from Congress, he had directed Gen. Schuyler to engage the Six Nations in our interest on the best terms he and his colleagues could procure. "I trust", he added, "the urgency of the occasion will justify my proceeding to Congress." On the day of the Declaration of Independence he again wrote to Congress, submitting the propriety of engaging the Eastern Indians. Notwithstanding the various arguments against employing them, John Adams thought "we need not be so delicate as to refuse the assistance of Indians, provided we cannot keep them neutral." In June, the Rev. Samuel Kirkland said that the Indians were generally of opinion that it was impracticable for them to continue longer in a state of neutrality. Gen. Schuyler, notwithstanding his early expressions of readiness to "employ any Indians that might be willing to join us", seemed reluctant, when the time came, to avail himself of their services. He preferred to get decently rid of the offer of the Caughnawagas rather than[674] to employ them. As to the Six Nations, he evidently felt that the utmost to be hoped for was to hold a portion of them quiet through the influence of such men as Kirkland and Deane.[1415] Schuyler's labors as Indian commissioner had been in the direction of neutrality; and even after direct instructions from Congress to engage the Six Nations on the best terms that could be procured, he wrote in reply, with evident satisfaction, when the news of the disaster to our forces in Canada was spread among the Indians, that "our conduct in demanding a neutrality in all former treaties has been greatly applauded in all their councils." The Life of Jonathan Trumbull, Sen., Governor of Connecticut, by I. W. Stuart (Boston, 1859), gives particulars concerning the contact of this active participant in affairs with some of these questions of policy. Trumbull, as well as the Massachusetts committeemen, was in correspondence with Major Brown in Canada, and through him as well as through them information was conveyed to the Provincial Congress of Massachusetts Bay of rumors of a projected attempt to recapture Ticonderoga and Crown Point with a force of regulars and Indians.
B. EVENTS AT THE NORTH, NOT CONNECTED WITH THE SIX NATIONS.
Among the Western tribes, the Delawares were divided, but the majority of the Indians were unfriendly, and completely under the influence of the English commander at Detroit. At the East the attitude of the Indians was not so pronounced, and they were slow to move. On June 20, 1776, Washington wrote to Schuyler that he was "hopeful the bounty Congress had agreed to allow and would prove a powerful inducement to engage the Indians in our service." From Schuyler he learned that "our emissaries among the Indians all agree that it would be extremely imprudent to take an active part with us, as they think it would effectually militate the contrary way." The reference in Washington's letter to bounties applies to the resolution of Congress to offer bounties, which had passed three days before the letter was written. With the same prompt attention he wrote to the General Court of Massachusetts, transmitting the resolve of Congress authorizing the employment of the Eastern Indians, exactly three days after its passage; at the same time he solicited the aid of that body in carrying it into execution. He designated five or six hundred as the number which he wished to have engaged. On the same day he wrote to the Continental Congress that he had communicated with the General Court of Massachusetts Bay, "entreating their exertions to have the Eastern Indians forthwith engaged and marched to join this army." It appears from the correspondence and from the proceedings at the conferences that he had already written a letter to these Indians, and it chanced that his letter to the Provincial Congress reached Watertown at about the same time that a delegation from the Eastern Indians reported there in consequence of his letter to them. When the Indians were called upon to state by what authority they spoke, they produced the letter from Washington, leaving it to be inferred that they were accredited upon their mission in consequence of the letter having been received. At the conference which was held with them they were full of high-sounding phrases of friendship. "We shall have nothing to do with Old England", they said, "and all that we shall worship, or obey, will be Jesus Christ and George Washington." The report of the conference states that "a silver gorget and heart, with the king's arms and bust engraved on them, were delivered to the interpreter to be returned to the Indians. He presented them to their speaker, but with great vehemence and displeasure he refused to take them, saying they had nothing to do with King George and England; whereupon the President told them they should have a new gorget and heart, with the bust of Gen. Washington and proper devices to represent the United Colonies." A treaty was exchanged with these Indians on July 17, 1776, whereby they agreed to furnish six hundred Indians to a regiment which was to be officered by the whites, and have in addition to the Indians two hundred and fifty white soldiers. As a result of all this, the Massachusetts Council subsequently reported that seven Penobscot Indians, all that could be procured, were enlisted in October for one year; and in November, Major Shaw reported with a few Indians who had enlisted in the Continental service. The Council of Massachusetts Bay expressed their regrets to Gen. Washington that the major had met with no better success. Washington's letter to the Eastern nations appears to have contained advice to them to keep the peace if they concluded it was to their advantage. These nations afterwards protested that the young men who in the character of chiefs made the treaty of war acted without authority, and they therefore returned the treaty. This practically ended efforts to secure alliance with Eastern Indians. There was further correspondence between Congress and Washington concerning the Stockbridge Indians, in which Congress first announced that the enlistment of these Indians must stop, and then at Washington's request permitted it to be renewed. Finally Congress was content to instruct the government agent to engage the friendship of the Eastern Indians, "and prevent their taking part in the unjust and cruel war against these United States."
C. EVENTS AT THE SOUTH.
The first result of the struggle between Great Britain and the colonies for the friendship of the Indians was felt in the North at St. John's and the Cedars. The first aggressive movement within the limits of the colonies took place in the South. The correspondence of Sir James Wright traces the progress of events in that department. The "Liberty People", as he says, asserted in June, 1775, that Stuart was endeavoring to raise the Cherokees against them, and "all that Stuart could say would not convince them to the contrary." In July Sir James heard that the Provincial Congress had agreed to send 2,000 pounds of gunpowder into the Indian country as a present from the people, "not from the king, or from the government, or from the superintendent, or from the traders, but from the people of the province."
Note.—Portion of the map in Drayton's Mem. of the Amer. Rev., ii. 343. Key: Double dotted line shows the march of the army; the single dotted line shows the march of detachments; the + indicates battlegrounds.
There is among the Rochambeau maps (no. 36) a small but good plan (5 × 4 inches), called An accurate map of North and South Carolina, with their Indian frontier, showing in a distinct manner all the mountains, rivers, swamps, marshes, bays, creeks, harbors, sandbanks, coasts, and soundings, with roads and Indian paths, as well as the boundary of provincial lines, the several townships and other divisions of the land in both the provinces,—from actual surveys by Henry Mouzon. It is the same map given in Jefferys' American Atlas (1776, no. 23), and was republished in Paris in 1777 by Le Rouge, and is included in the Atlas Amériquain. The middle, upper, and over-hill towns are given on one of the sections of Arrowsmith's map (1795-1802), and also upon the Carte des Etats-Unis de l'Amérique Septentrionale.—Copiée et Gravée sur celle d'Arrowsmith, etc., etc. Par P. F. Tardieu, à Paris, 1808.
Faden issued in 1780 a map of the northern frontiers of Georgia, by Archibald Campbell.—Ed.
This powder was seized by the royalists, but as an offset the annual presents of Stuart were seized at Tybee by the "Liberty People." It was stated that the best friends of Great Britain lived in the back parts of Carolina and Georgia. If the Indians were put in motion, they, and not the rebels, would suffer. Nevertheless, the first blow from the Indians came from that quarter. Early in July, 1776, news was received at Savannah, at Charleston, and at Fincastle, Va., that the Indians were at work upon the border, carrying destruction wherever they went. On the 7th of July, General Lee wrote to the president of the Virginia Convention that an opportunity offered for a coöperative movement. The Continental Congress, having received a report of the circumstances from the president of South Carolina, recommended, on the 30th of July (1776), the States of Virginia, North Carolina, and Georgia to afford all necessary assistance. As soon as the first intelligence of the outbreak in South Carolina reached Col. Andrew Williamson, who at the beginning of this campaign apparently ranked as major, he promptly rallied the inhabitants of the frontier of that State. By the middle of July he had collected a body of 1,150 volunteers. With this force he invaded the Indian territory, and during the remainder of the month of July and the first half of August he was occupied in destroying the Cherokee lower towns. On his return to his main camp from a raid with a detachment, about the middle of August, he found that a number of his men had gone home, and that many of those who remained were suffering for clothes and other necessaries. He erected a fort at Essenecca, which he named after President Rutledge, and furloughed a part of his force until August 28th.
At the same time that the depredations were committed which caused Col. Williamson to invade the Indian country, the settlements in Virginia and North Carolina, on the border of what we now know as Tennessee, were threatened by the Indians. The inhabitants along the border at once "forted" themselves. A small force collected at Eaton's station met a party of Indians on the 20th of July, and repulsed them, with a loss of thirteen of their warriors. Watauga, where 150 persons, of whom 40 were men, had assembled in the fort, was besieged by another band. The Indians hung about the fort for six days, and skulked in the woods for a fortnight longer, but left on the approach of a relief column. Other Indians went up the Holston to Carter's Valley, but accomplished nothing in that immediate vicinity.[1416] The settlements in Virginia, in the Clinch Valley and for a long distance from this point, were, however, raided, and the surrounding country devastated.
Georgia performed her share of the season's work simultaneously with Colonel Williamson's first raid. An independent command, led by Major Jack,[1417] operated against the lower towns beyond the Tugaloo, during the latter part of July.
The work performed by South Carolina and Georgia during the months of July and August was not considered complete. It was determined to inflict a blow which would be remembered. About the first of September Colonel Williamson again marched into the Indian country, this time at the head of about two thousand men. It was intended that on an appointed day in September he should effect a junction with General Rutherford of North Carolina, who at the head of twenty-four hundred men simultaneously marched from that State. Although the two columns met in Indian territory, the junction was not effected at the appointed date, and the work of destroying the middle towns and valley settlements was independently performed. Virginia sent out an expedition at the same time against the upper or over-hill towns. This force, after it was joined by some companies from the northwestern portion of North Carolina, numbered eighteen hundred men, and was commanded by Colonel William Christian. The purposes of this expedition were successfully accomplished.
The South Carolina troops had the misfortune to encounter nearly all the resistance that was offered by the Indians, and the two expeditions lost 22 men killed, with 11 men mortally wounded, and 63 men otherwise wounded. They had the satisfaction, however, of knowing that the joint expedition had thoroughly performed its work. The Cherokee towns were burned, and the crops of the Indians were destroyed. The attack by the Indians consolidated the colonists and aroused their indignation. The Council of South Carolina asserted that they were now convinced of what they had before but little reason to doubt, "the indiscriminate atrocity and unrelenting tyranny of the hand that directs the British war against us." The Assembly spoke of it as a "barbarous and ungrateful attempt of the Cherokee Indians, instigated by our British enemies." The Cherokees accepted such terms of peace as their conquerors allowed. Next year separate treaties were made between representatives of the tribes and Virginia and North Carolina, and between other representatives and South Carolina and Georgia. In the treaty in which South Carolina participated, a portion of the Indian territory was ceded to that State on the ground of conquest. For several years thereafter the Indians kept so quiet that but little was heard from them in that portion of the country. As a sequel to the campaign it may be noted that, on the 25th of September, President Rutledge informed the Assembly of South Carolina that Colonel Williamson desired instructions as to whether the Indians taken prisoners should become slaves. Such an impression prevailed in camp, and one prisoner had already been sold as a slave.[1418]
McCall, in his History of Georgia, is authority for the statement that General Rutherford was accompanied on his march by a small band of Catawba Indians. In Virginia the matter of enlisting Indians was considered in the Convention, and on the 21st of May, 1776, a resolution was passed to engage a number of warriors, not to exceed two hundred. A few days afterward, however, the execution of this resolution was postponed in such a way as to make it ineffective.
In January, 1777, Col. Nathaniel Gist was authorized by Congress to raise four companies of rangers, and was instructed to proceed to the Cherokee or any other nation of Indians, and to attempt to procure a number of warriors not exceeding five hundred, who were to be equipped by Congress and receive soldiers' pay.[1419]
We have seen that in 1777 treaties were made with the Cherokees. The Indians at the Chickamauga settlements, which were clustered along the Tennessee, below the site of Chattanooga, and near where the river crosses the state line, had not participated in the treaties. In the interval between the joint campaign in the fall of 1776 and the spring of 1779 outrages had been committed by these Indians, and it was determined to punish them. A thousand volunteers from the back settlements of North Carolina and Virginia assembled on the banks of the Holston, in the northeastern part of Tennessee, a few miles above where Rogersville stands. Of these Col. Evan Shelby had command. They were joined by a regiment of twelve-months men which belonged to Colonel Clarke's Illinois expedition. On the 10th of April, 1779, this force embarked in dug-outs and canoes, descended the rapid running stream, surprised the Indians, killed a number of them, burned eleven of their towns, destroyed their provisions, and drove off or killed their cattle. All this having been accomplished without a battle, the troops returned.
In 1780 the contribution of men by the border settlements of North Carolina to the force which fought the battle of King's Mountain left those settlements exposed to Indian raids. As soon after the battle as possible some of the men were sent to Watauga. They learned upon arrival that news had been received of an Indian advance. Col. John Sevier organized an expedition against the Indians, and marched to meet them. The number of volunteers thus hastily gathered together reached about one hundred and seventy. At the end of the second day's march the Indians were discovered. They retreated, and the next day Sevier followed them. The customary ambuscade was prepared by the Indians, but the American leader was too wary to be deceived. On the contrary, he adopted their own tactics, and defeated them in a brief engagement at Boyd's Creek, in which twenty-eight Indians were killed. A few days after this Colonel Sevier was joined by Col. Arthur Campbell, with troops from Virginia. The united forces amounted to seven hundred men. They penetrated the country to the southward, burning a number of Indian towns, and held a council with a large body of Cherokees. After completing the expedition, a message was sent, on January 4, 1781, to the chiefs and warriors of the Indians. It was signed by Col. Arthur Campbell, Lieut.-Col. John Sevier, and Joseph Martin, agent and major of militia, and consisted of a summons to the Indians to send deputies to negotiate a treaty of peace at the Great Island within two moons.[1420]
Towards the end of August, 1780, Colonel Williamson and Colonel Pickens, of South Carolina, raided the Indian territory and destroyed a large amount of stores. To prevent further depredations, the Indians were compelled to remove their habitations to the settled towns of the Creeks.
During the summer of 1781 the Cherokees invaded the settlements on Indian Creek. Colonel Sevier called for volunteers, and attacked them. He killed seventeen Indians and put the rest to flight.
Early in 1781 General Greene made a treaty with the Cherokees, by which they engaged to observe neutrality. This treaty having been violated by the Indians during the summer, Gen. Andrew Pickens, at the head of a mounted force of three hundred and ninety-four men, penetrated to the Cherokee country, burned thirteen towns, killed upwards of forty Indians, and took a number of prisoners. McCall (Georgia, ii. 414) thus summarizes Pickens's method of campaigning: "The general's whole command could not produce a tent or any other description of camp equipage. After the small portion of bread which they could carry in their saddle-bags was exhausted, they lived upon parched corn, potatoes, peas, and beef without salt, which they collected in the Indian towns." Soon after this expedition some of the Creeks and Cherokees again invaded Georgia. They were met beyond Oconee River by Colonel Clarke and by Col. Robert Anderson, of Pickens's brigade, and were driven back. Major John Habersham was sent out by Wayne on an expedition, and his report, Feb. 8, 1782, is in Hist. Mag., iv. 129. In February, 1782, Governor Martin addressed a letter to Colonel Martin and Colonel Sevier, instructing them to drive intruders off the Cherokee lands.
During the summer of 1782 a body of Indians crossed the State of Georgia without being discovered, and on the morning of the 24th of June surprised General Wayne's command. After the first flush of success attendant upon the surprise had been overcome by the Americans, they repulsed the Indians, with the loss of fourteen killed, among whom was one of their chiefs. The kind treatment of some prisoners who were taken aided in detaching the Indians from the British side.
In September, 1782, the upper-town Cherokees, in a talk, complained piteously of the intruders upon their lands, and said they had done nothing to break the last treaty. At the same time, other Indians of the same[678] tribes began depredations. Colonel Sevier, with one hundred volunteers, marched into the Indian country, held a conference with the friendly Indians, and punished those who were hostile by burning their villages.
The Southern campaigns against the Indians have not been treated as fully in local and general histories as those against the Northern tribes. The policy of the several leaders in these campaigns was not entitled, perhaps, to the same recognition as has been awarded to that which governed the Sullivan campaign. The several columns from Virginia, North Carolina, South Carolina, and Georgia each burned Indian towns and devastated Indian crops, but the plan was not directed by the general in command of the national armies. There have been but few local historians in the South who have searched for diaries, journals, and letters containing details of such affairs. At the time when the centennial anniversaries of these events might fitly have been celebrated by the publication of such original material as could be found, there was not the same disposition in the South to be grateful for the results of the Revolutionary War as then prevailed in the North. Further than that, the materials from which such contributions to history are generally made had been scattered and destroyed during the civil war. For these reasons, the number of books which treat of the border wars in the South is small.
The most complete accounts of the attacks upon the Cherokee settlements which have been published are to be found in the histories of Tennessee. John Haywood's Civil and Political History of the State of Tennessee from its earliest Settlement up to the year 1796, etc. (Knoxville, 1823), is an extensive collection of facts concerning the various raids of the Indians and the counter attacks upon their scattered settlements, which has been freely used by subsequent writers. J. G. M. Ramsey, in his Annals of Tennessee to the end of the eighteenth Century: Comprising its settlement as the Watauga Association from 1769 to 1777; A part of North Carolina from 1777 to 1784 (Charlestown, 1853), relies to a great extent upon Haywood, and acknowledges his obligation by frequent references in his footnotes. In the preparation of this work, Mr. Ramsey says that he had access to the journals and papers of his father, a pioneer of the country, and also to the papers of Sevier, of Shelby, the Blounts, and other public men. He examined the papers of all the old Franklin Counties and the public archives at Milledgeville, Raleigh, Richmond, and Nashville.
Haywood says the Georgia expedition was commanded by Col. Leonard McBury. Ramsey follows Haywood in this regard. All the other accounts say that Major or Colonel Jack was in command.
The campaign of the Virginia column is briefly described in Girardin's continuation of Berk's History of Virginia.[1421] Brief allusions to this campaign are made in Wheeler's Historical Sketches of North Carolina, and in Martin's History of North Carolina. The story is more fully told in an Historical Sketch of the Indian War of 1776, by D. L. Swain, which is reprinted from the North Carolina University Magazine (May, 1852) in the Historical Magazine (Nov., 1867, p. 273). This account states that there were "three armies simultaneously fitted out by Virginia, North Carolina, and South Carolina", but makes no mention of the work which the Georgia contingent had already performed.
A journal kept during the Williamson expeditions was published in the Historical Magazine, vol. xii. (Oct., 1867, p. 212), by Professor E. F. Rockwell, of North Carolina, as "Parallel and combined expedition against the Cherokee Indians in South and North Carolina in 1776." The writer describes the houses in the Cherokee towns as follows: "Their dwelling-houses is made some one way and some another. Some is made with saplings stuck in the ground upright; then laths tide on these with splits of cane or such like; So with daubing outside and in with mud merely, they finish a close warm building. They have no chimnies, and their fires are all in the middle of the houses."
C. L. Hunter, in Sketches of Western North Carolina, Historical and Biographical, illustrating principally the Revolutionary period, etc. (Raleigh, 1877), under "General Griffith Rutherford" gives a brief account of the march against the middle towns, and under "Colonel Isaac Shelby" he gives a paragraph to the expedition against the Chickamaugas in 1779.
It has been stated that the Cherokee outbreak in the South was the first aggressive movement made by the Indians during the Revolutionary War, and that this fact has caused the joint attack of the colonies to be noticed in the general histories of the times. It naturally finds a place in Moultrie's Memoirs and in Ramsay's South Carolina, but without detail. If we turn to Drayton's Memoirs we shall find an extended account of the expeditions of Colonel Williamson, who commanded the South Carolina troops, in the summer of 1776, when they ravaged the Cherokee settlements,—the campaigns being illustrated by a map of which a fac-simile is given herewith. Several letters are published in the Appendix as authorities. The movements of Major Jack in Georgia are given (Ibid. p. 313), and some account of the march of General Rutherford's army from North Carolina and of the attempts at coöperation. It is stated (Ibid. p. 353) that Virginia also raised an army, but no account of the movement of the troops is given.
The American Archives contain reprints of letters from several points in the South, which enable us to trace the history of most of these movements. We have rumors of the outbreak from various places scattered from Georgia to Virginia; stories of the siege of Watauga and of the gathering of the Indians in Carter's Valley; accounts of the desolation along the frontier; of the marches of Rutherford and of Williamson; of the speech of Rutledge, and of the replies of the Council and of the Assembly of South Carolina.
The Remembrancer also reprints some of these letters. Drayton, in his Memoirs (ii. p. 212), says that Col.[679] Bull, in March, 1776, marched to Savannah with four hundred Carolina troops, "to awe the disaffected, to support the Continental regulations, and in particular to prevent the merchant ships from going to sea." These troops were accompanied by some Georgia militia and by "about seventy men of the Creek and Euchee Indians." In corroboration of this statement Drayton cites the Remembrancer (1776, Part ii. pp. 333, 334), where is a letter from Charleston, which opens, "By a remarkable Providence, the Creek Indians have engaged in our favour." It then goes on to describe how they became enraged with the Tories because they destroyed the house of a white man with whom the Indians were friendly, and adds that "they have brought down 500, who have killed several men of the fleet."
Another reference to the use of Indians by the Americans will be found in McCall's Georgia (ii. p. 82), where he says that General Rutherford was "joined by the Catawba Indians."
Various accounts of events connected with these campaigns will be found in the Remembrancer (Part ii., 1776, pp. 286, 319-334; and Part iii., 1776, pp. 50, 252-274, and 275), including a letter, Sept. 4th, which says: "The colonel's (Williamson's) next object will be the middle towns, where he expects to be joined by General Rutherford with 200 [2,000?] North Carolinians. Colonel Lewis, of Virginia, will go against the upper or over hill settlements, so that we have no doubt the savages will be effectually chastised."
The treaty at De Witt's Corner, May 20, 1777, between South Carolina, Georgia, and the Cherokees was printed in the Boston Gazette and Country Journal, Aug. 18, 1777.
A description of the Cherokee lower towns and of the siege of Watauga is given by Edmund Kirke (James R. Gilmore) in Lippincott's Magazine (July and August, 1855), in a paper on "The Pioneers of the South West." Bare mention is made of the fact that Georgia participated in the campaign of 1776, by Stevens in his Georgia, who follows Moultrie in assigning the command of the Georgia troops to Colonel Jack.
McCall, in his History of Georgia, gives a curious account of an attempt by a party of Americans to penetrate the Indian country and seize Cameron. Their leader, Capt. James McCall, had with him two officers, twenty-two Carolinians, and eleven Georgians. They were suspected by the Indians of treachery, and were themselves attacked. Their leader was captured and several of the men were killed, but the greater number escaped, and after severe sufferings reached the settlements. Drayton (Memoirs, ii. 338) states that this expedition of McCall's was forwarded in consequence of an agreement on the part of the Cherokees in June to permit the arrest of refugees in their towns. The attack was therefore a piece of treachery on the part of the Indians. McCall himself escaped shortly afterward, and joined the Virginia column of invasion. He again made an attempt to seize Cameron. This time he reached the Indian town where Cameron had his headquarters, but the latter had left for Mobile the morning that Captain McCall arrived at the town. McCall gives an account of a raid by General Pickens in the fall of 1782. This apparently is the same as the one described in 1781.
C. C. Jones's Georgia deals with the border wars to about the same extent as McCall. The precise time of Jack's raid is not given, but Jones has followed those who have spoken of it as simultaneous with the joint movement in Virginia and North and South Carolina, among whom we find Ramsay in his History of the Revolution of South Carolina. A letter to Gov. Bullock, from B. Rea, July 3, 1776 (Remembrancer, Part iii., 1776, p. 50), says: "I shall order the draft that has been made of this regiment to Broad River and Ogeechee as soon as possible, but not to go over the line till I receive your excellency's orders, which I shall wait for with impatience. I shall likewise be glad to know how far we are to act in concert with the Carolinians, or if we are only to guard our own frontiers." This shows that troops were put in the field by Georgia before the question of coöperation was raised, but that it immediately suggested itself as a possibility.
It will be inferred from what has been said that confusion of dates as to the movement of the troops exists. McCall tells the story as if Jack's march in the middle of July were part of a preconcerted plan, in which South Carolina, North Carolina, and Virginia participated. Jones, as has been seen, follows him in this respect. Ramsey, in his Annals of Tennessee, says Christian went into the field on the 1st of August. Williamson, on his second raid, and Rutherford started out about the 1st of September. Christian's march was evidently in coöperation with them, and doubtless at the same time, although in Foote's Sketches of Virginia it is said (pp. 118, 119) that Col. William Christian's campaign against the Cherokees was in October. It is probable that he did not return to the settlements until that month.
It is evident that the attack upon the lower towns of the Cherokees by the Georgia militia was not regarded at the time as a part of the joint concerted movement. On the 5th of August President Rutledge issued a proclamation requiring the Legislative Council and General Assembly to meet at Charleston on the 17th of September, at which time his excellency congratulated them on the success of the troops under Colonel Williamson, and added, "It has pleased God to grant very signal success to their operations; and I hope by his blessings on our arms, and those of North Carolina and Virginia, from whom I have promises of aid, an end may soon be put to this war." In the replies of the Council and of the Assembly recognition is made of the coöperative movements of the North Carolina and Virginia forces. No reference is made in any of these proceedings to the Georgia contingent.
The Boston Gazette and Country Journal, Sept. 16, 1776, contains an account of the outbreak in North Carolina, which says: "The ruined settlers had collected themselves together at different places and forted themselves: 400 and upwards at Major Shelby's, about the same number at Captain Campbell's, and a considerable number at Amos Eaton's." It then describes the relief of Watauga by Colonel Russell with three[680] hundred men. The acts of these men and the first raid of Williamson were the spontaneous movements of the frontier inhabitants. The participation of Georgia was inspired from headquarters at Augusta, with intelligent comprehension of the value of coöperation. The campaigns of the month of September were concerted.
The raid of Gen. Andrew Pickens is described in Ramsay's South Carolina and in Henry Lee's Memoirs, the account in the latter being copied in Cecil B. Hartley's Heroes and Patriots of the South (Philad., 1860). The raid of Col. Arthur Campbell is described in Girardin's continuation of Burk's Virginia (iv. p. 472). Campbell's report, in the Calendar of the State Papers of Virginia (i. p. 434), says that he destroyed upwards of one thousand houses, and not less than fifty thousand bushels of corn and a large quantity of other provisions.
D. CONNECTICUT SETTLERS IN PENNSYLVANIA.
In 1768, the Proprietaries of Pennsylvania secured an Indian deed for the territory already claimed by the Susquehanna Company of Connecticut, and a lease was executed, which vested in certain enterprising individuals the rights of the Proprietaries to this region, whether gained by royal grant or by purchase. This was followed by simultaneous preparation on the part of the Pennsylvanian lessees and of the Connecticut Company for the occupation by settlers, who were expected to defend their rights against other claimants. The Pennsylvanians were first on the ground, and in January, 1769, built a block-house on the land which had been improved by former Connecticut settlers. Early in February the first detachment of colonists from Connecticut arrived, and then began the contest for possession, which was waged, with success alternating on either side, until the fall of 1771. Houses were burned, crops were laid waste, cattle were driven off and killed, and there was some bloodshed during the progress of these hostilities. Proclamations were put forth by the governor of Pennsylvania, and warrants were issued by the courts of that province for the arrest of the Connecticut leaders for the crime of arson. The several military expeditions of the Pennsylvanians were generally accompanied by a sheriff, whose mission was supposed to be to execute the laws. The citizens of that province do not appear to have been in sympathy with the lessees of the Proprietaries. If they had been, it would have been easy to have crushed the Connecticut colony. This settlement was not at the outset recognized as a part of Connecticut. Permission had been given the company to apply to his majesty for a separate charter. The expectation that an independent government might perhaps be formed, and the opposition to the movement already expressed at London, explain the supineness of the mother colony. The Susquehanna settlement depended for its life upon the efforts of the company. Five townships were laid out, and liberal offers of shares in the lands were made to the first settlers in each of them. Three more townships were subsequently settled on the same plan. These inducements had attracted settlers in such numbers that the Pennsylvanian lessees could not dispossess them. In the autumn of 1771 the Pennsylvanians withdrew, leaving the Connecticut colonists, for the time, in undisturbed possession. Some correspondence followed between the authorities of the colonies, in which the government of Pennsylvania sought to ascertain how far the colony of Connecticut backed up the emigrants; and the governor of that colony in reply denied having authorized any hostile demonstration, but carefully avoided saying anything which could be interpreted as a relinquishment on the part of the colony of its rights under the charter to the land. During the next two years the settlement, although looked upon by Pennsylvania as an invasion and not as yet acknowledged by Connecticut, increased in numbers and prospered. Meetings of the Proprietors were occasionally held, at which the affairs of the towns were adjusted in a general way, authority being delegated to a committee of settlers to act in the intervals between the meetings. In June, 1773, the company adopted at Hartford a form of government for the settlers, stating in the preamble that "we have as yet no established civil authority residing among us in the settlement." In October the Connecticut Assembly resolved that the colony would "make their claim to these lands, and in a legal manner support the same." Commissioners were appointed, and fruitless negotiations were opened with Pennsylvania. In January, 1774, the territory of Susquehanna Company was incorporated into the town of Westmoreland, and became temporarily a part of the county of Litchfield, Connecticut. Almost simultaneously, proclamations were issued by the governors of the two colonies, each prohibiting settlements on the disputed territory except under authority of the colony which he represented. Meantime the settlements in the valley increased. In September, 1775, about eighty settlers, who had just arrived on the west branch of the Susquehanna, were attacked by the Pennsylvania militia. One man was killed; several were wounded; and the men of the Connecticut party were taken prisoners to Sunbury. Upon receipt of this news the Continental Congress, in November, passed resolutions urging the two colonies to take steps to avoid open hostilities. This was, however, of no effect. Boats from Wyoming, loaded with the property of settlers, were seized and confiscated at Fort Augusta. During the fall, extensive preparations were made by the Pennsylvanians for an invasion of Wyoming, under authority from Governor Penn, for the purpose of enforcing the laws of Pennsylvania. In December, Congress expressed the opinion that all appearance of force ought to stop until the dispute could be decided by law; but at the time that the resolution expressing this opinion was under consideration, an army of Pennsylvanians, accompanied by a sheriff, was already invading the valley. The Connecticut people, having been forewarned, successfully resisted this military posse. Several lives were lost in this attempt of the Pennsylvanians to dispossess the colonists. With this failure the attempts of Pennsylvania to expel the Connecticut settlers by force ended. The Revolutionary War was now in progress. Connecticut needed her able-bodied men. She now forbade further settlement on the disputed territory unless licensed by her Assembly.
The Trumbull MSS. in possession of the Mass. Hist. Soc. contain copies of the papers connected with the discussion of the title of the colony to its settlement in the Susquehanna Valley. There is probably no single collection of papers so rich in this direction.
E. JOURNALS AND DIARIES OF THE SULLIVAN EXPEDITION.
A list of the journals of Sullivan's expedition was prepared by the writer of this chapter for publication in the Mass. Hist. Soc. Proc., Oct., 1886, and this list in an extended and revised form was to be appended here; but the repetition is rendered unnecessary by the publication of an elaborate volume by the State of New York, Journals of the military expedition of Major-General John Sullivan against the Six Nations of Indians in 1779, with records of Centennial Celebrations,—compiled by George S. Conover, under the direction of Frederick Cook, Secretary of State. It reprints, and in some cases gives for the first time in type, the journals of twenty-six participants, pertaining either to the main expedition or to that against the Onondagas. An enumeration is also given of the journals known to have existed, but no longer to be found.
Appended to the journals are the reports of Sullivan, Brodhead, and a roster of the expeditionary army. The main historical narrative is an elaborate account, compacted from four centennial addresses, given by the Rev. David Craft in 1879, and revised from the original publication in the Centennial Proceedings of the Waterloo (N. Y.) Library and Historical Society. In a note it is shown that a collation of all the journals supports Sullivan's statements in his official report, making his total loss in the campaign 41 men, while 41 Indian settlements or towns were destroyed.
The portraits of the book are those of Sullivan (with the spear), General Clinton (profile), Gansevoort (by Stuart), and Philip Van Cortlandt. The rest of the volume describes the various centennial celebrations in 1879, at Elmira, Waterloo, Geneseo, and Aurora, with the addresses, principal among which is one by Erastus Brooks on "Indian History and Wars", and another by Major Douglass Campbell on "The Iroquois and New York's Indian policy."
The maps include one by Gen. John S. Clark of the battlefield of Newtown (not far from Elmira) and the Chemung Ambuscade; another, by the same, of the Groveland Ambuscade, near Conesus Lake, and the route thence to the Genessee; five maps of as many sections of Sullivan's route, surveyed by Lieutenant Benjamin Lodge, the originals of which make a part of the collection of maps made by Robert Erskine, the topographical engineer of the Continental army, and by his successor, Simeon De Witt, and now in the cabinet of the N. Y. Hist. Society. Gen. J. S. Clark, in describing these maps, says that the route of Dearborn on the west side of Cayuga Lake, and General Clinton's descent of the N. E. branch of the Susquehanna, do not appear to have been surveyed, but that Clinton's route is well illustrated in a sketch of Col. William Butler's march (Oct.-Nov., 1778) made by Capt. William Gray, which is also included in the volume. The five maps above referred to are reproductions from the originals, with some names added from the rough preliminary sketches, also preserved in the same collection. A rough plan of Tioga, in fac-simile of a drawing in the journal of Capt. Charles Nukerck, is also given.—Ed.
F. BOUNTIES FOR SCALPS.
It has been stated in the narrative that the colonies themselves were partially responsible for the low estimate in which Indians were held by the inhabitants of the frontiers. Bounties had been so frequently offered for the destruction of wild animals and of Indians that the border settlers might well infer that the law drew no distinction between the savage and the brute. Mrs. Jackson, in her Century of Dishonor (App. p. 406), quotes from Gale's Upper Mississippi (p. 112) a vigorous denunciation of the acts of the governments in granting bounties for scalps: "In the history of the Indian tribes in the Northwest, the reader will at once perceive that there was a constant rivalry between the governments of Great Britain, France, and the United States as to which of them should secure the services of the barbarians to scalp their white enemies, while each in turn was the loudest to denounce the shocking barbarities of such tribes as they failed to secure in their own service. And the civilized world, aghast at these horrid recitals, ignores the fact that nearly every important massacre in the history of North America was organized and directed by agents of some one of these governments." One or two instances, taken from the records by way of illustration, will suffice to show how the settlers along the frontier and legislators reciprocally viewed this subject. In November, 1724, John Lovewell, Josiah Farwell, and Jonathan Robbins, presented a "Humble Memorial" to the General Court of Massachusetts Bay, in which they set forth that they, with forty or fifty others, were "inclinable to range and keep out in the woods for several months together, in order to kill and destroy their Indian enemy, provided they could meet with incouragement suitable." For five shillings a day, and such other reward as the government should see cause to give them, they would "employ themselves in Indian hunting one whole year." On the 17th of November, the General Court by vote authorized the formation of the company, the men to receive "two shillings and sixpence per diem, the sum of one hundred pounds for each male scalp, and the other premiums established by law to volunteers without pay or subsistence" (Kidder's Captain John Lovewell, pp. 11, 12). Col. Johnson, in 1747, was "quite pestered every day with parties returning with prisoners and scalps, and without a penny to pay them with" (Stone's Sir William Johnson, i. 255, 342). For the outlay made in this[682] behalf Col. Johnson was ultimately reimbursed by the province of New York. In the memorial or representation of their case, submitted by the rioters who murdered the Conestega Indians to the authorities at Philadelphia, it is written: "Sixthly. In the late Indian war, this Province, with others of his Majesty's colonies, gave rewards for Indian scalps, to encourage the seeking them in their own country, as the most likely means of destroying or reducing them to reason; but no such encouragement has been given in this war, which has damped the spirits of many brave men, who are willing to venture their lives in parties against the enemy. We therefore pray that public rewards may be proposed for Indian scalps, which may be adequate to the dangers attending enterprises of this nature." On the 12th of June, 1764, the authorities of Pennsylvania offered bounties for scalps, presumably in response to this petition (Penna. Col. Rec., ix. 141, 189).
On the 27th of September, 1776, a committee reported to the South Carolina Assembly, that it was "not advisable to hold Captive Indians as Slaves, but as an encouragement to those who shall distinguish themselves in the war against the Cherokees, they recommended the following rewards, to wit: For every Indian man killed, upon certificate thereupon given by the Commanding Officer, and the scalp produced as evidence thereof in Charlestown by the forces in the pay of the State, seventy-five pounds currency; For every Indian man prisoner one hundred pounds like money" (American Archives, 5th ser., iii. 32).
It is true that bounties had previously been offered in New York for scalps taken from the "enemy", but at the time of the Revolution New York and Massachusetts had apparently abandoned the policy of offering bounties for scalps. Abundant records show that they had been committed to this policy in earlier times. The Act of Assembly in South Carolina, the previous legislation in New Hampshire, Massachusetts, Connecticut, Maryland, and Virginia, and the subsequent legislation in Pennsylvania and Illinois, were directed exclusively against Indians. Penna. Colonial Records (xii. 311; xii. 632; xiii. 201). Laws of the Colonial and State Governments relating to Indians and Indian Affairs from 1633 to 1831 inclusive, with an appendix containing the proceedings of the Congress of the Confederation and the laws of Congress from 1800 to 1830 on the Same Subject (Washington city, 1832), p. 239. In the Pennsylvania Archives (iii. p. 199) there is a curious letter from the superintendent of Indian affairs in the Southern Department to the governor of Maryland, dated June 30, 1757, in which he says that several of the colonies are becoming fond of giving large rewards for scalps. If these rewards were confined to their own people he should consider it laudable, but as they are offered chiefly to Indians the case is very different. He says the Indians make several scalps out of one. The Cherokees in particular make four scalps out of one man killed. "Here are now", he adds, "twenty scalps hanging out to publick view which are well known to have been made out of five Frenchmen killed. What a sum (at £50 each) would they produce if carried to Maryland, where the artifice would not probably be discovered!" In early times in Maryland, the proof required from persons who had killed Indians, in order that the reward might be claimed, was the production of the right ear of the dead Indian. There was less opportunity to subdivide the ears, and thus multiply the bounties. The charge that the English paid bounties for scalps thus found its way naturally into the histories, and the officers who had been disciplined in the previous wars were probably ready to make such offers. Doddridge (Notes, 274) expresses the belief current on the frontier when he says, "The English government made allies of as many of the Indian nations as they could, and they imposed no restraint on their savage mode of warfare. On the contrary, the commandants at their posts along our Western frontiers received and paid the Indians for scalps and prisoners, thus, the skin of a white man's or even a woman's head served in the hands of the Indian as current coin, which he exchanged for arms and ammunition, for the further prosecution of his barbarous warfare." This belief found expression at the time, and worked its way into print. The Remembrancer gives a letter from Capt. Joseph Bowman "at a place called Illinois Kaskaskias, upon the Mississippi", dated July 30, 1778, in which we read: "The Indians meeting with daily supplies from the British officers, who offer them large bounties for our scalps" (Remembrancer, viii. p. 83). There is, however, better authority than rumors of this class to justify those authors who repeat this statement. When Governor Hamilton was captured at Vincennes, he was sent to Williamsburg, and his conduct was investigated by the Council of Virginia. In their report the Council say, "The board find that Governor Hamilton gave standing rewards for scalps, but offered none for prisoners, which induced the Indians, after making the captives carry their baggage into the neighborhood of the fort, there to put them to death, and carry in their scalps to the governor, who welcomed their return and success by a discharge of cannon" (Memoir, Correspondence, and Miscellanies from the Papers of Thomas Jefferson, ed. by Thomas Jefferson Randolph, Boston, 1830; 2d ed., vol. i. p. 456). Thus the official sanction of a board composed of prominent men of good reputation has been given to the statement. In weighing the value of this decision we must not forget that Hamilton was the special object of hatred to the Virginians. Col. George Rogers Clarke, in an official communication to the governor of Virginia, from Kaskaskia, Feb. 3, 1779, speaks of "A late meneuvr of the Famous Hair Buyer General Henry Hamilton, Esqr., Lieut.-Governour of De Troit", etc., etc. (Calendar of the State Papers of Virginia, p. 315). C. W. Butterfield edited a reprint of A Short Biography of John Leith (Lancaster, Ohio, 1831) as Leith's Narrative (Cincinnati, 1883), and in this new edition (p. 39) we find an account of a brutal murder, by Indians, of a prisoner at Sandusky: "They knocked him down with tomahawks, cut off his head, and fixed it on a pole erected for the purpose; when commenced a scene of yelling, dancing, singing, and rioting." To this part of Leith's narrative the annotator attaches a note, in which he states that a part of the "importance of this recital is in a historical sense;" "that captives were brought to the points contiguous to Detroit, and then tomahawked and scalped, the direct[683] result of Hamilton's barbarous policy of offering rewards for scalps, but paying none for prisoners." The language of the note is ambiguous, but a natural interpretation of its purpose would be that the statement in the text was relied upon to prove the charges against Hamilton. I presume this prisoner was scalped,—it would probably have been recorded by Leith as a remarkable event if he had escaped being scalped,—but a statement which omits mention of the fact can hardly be cited as evidence against Hamilton.
The Virginia Council, while they published no evidence bearing upon the question of Hamilton's buying scalps, were more explicit when it came to his inciting Indians to acts of war:—
"Williamsburgh, Va. In Council, June 16, 1779. Case of Hamilton, Dejaine La Mothe." "They find that Hamilton has executed the task of inciting the Indians to perpetrate their accustomed cruelties on the citizens of these States, without distinction of age, sex, or condition, with an eagerness and activity which evince that the general nature of his charge harmonized with his particular disposition; they should have been satisfied, from the other testimony adduced, that these enormities were committed by savages acting under his commission, but the number of his Proclamations, which at different times were left in houses, the inhabitants of which were killed or Carried away by Indians, one of which Proclamations, under the hand and seal of Governor Hamilton, is in possession of the Board, puts the fact beyond doubt", etc. (Remembrancer, viii. p. 337). "The narrative of the Capture and treatment of John Dodge by the English at Detroit" was made public about the same time (Remembrancer, viii. p. 73). The portion of Dodge's story which relates to the reception by Hamilton of Indians returning with scalps and prisoners, bears a striking resemblance to the report of the Council. Dodge states that Hamilton become so enraged at him that the governor "offered £100 for his scalp or his body." In another place he says: "These sons of Britain offered no reward for prisoners, but they gave the Indians twenty dollars a scalp", etc., etc.; and again: "One of these parties returning with a number of women and children's scalps and their prisoners, they were met by the commandant of the fort, and after the usual demonstrations of joy, delivered their scalps, for which they were paid."
Some correspondence passed between Jefferson and the governor of Detroit on the question of Hamilton's treatment as a prisoner, in which Jefferson dwells at length upon Hamilton's responsibility for the acts of the Indians, but it is to be remarked that no charge is made against Hamilton of paying bounties for scalps (Calendar of State Papers of Virginia, i. p. 321). Before the British government is finally convicted of having offered bounties for scalps, it is just that other evidence should be adduced than such affidavits as that of Moses Younglove (Campbell, Tryon County, 2d ed., p. 116), who swears that he "was informed by several sergeants-orderly for General St. Leger that twenty dollars were offered in general orders for every American scalp." The mere showing of scalps at headquarters does not necessarily imply that the Indians were to be paid for them (Ibid. p. 307). According to Campbell (Ibid. p. 117), Col. Gansevoort, in a letter, confirms the statement that twenty dollars were offered by St. Leger for every American scalp. Col. Gansevoort, besieged in Fort Stanwix, relied of course upon some other person for this statement. It is probably the Younglove story in another shape. It must not be forgotten that St. Leger ordered Lt. Bird "not to accept a capitulation, because the force of whites under Bird's command was not large enough to restrain the Indians from barbarity and carnage."
It adds little force to the evidence that we find similar allegations against the British in the class of books represented by Seaver's Life of Mary Jemison (p. 114), (various editions,—see Field's Indian Bibliography, nos. 1,380-81). In a similar manner, Simms (Frontiersmen, i. p. 10) cites a letter-writer as saying that the price per scalp was eight dollars; and Jenkins (Wyoming Memorial, p. 151) charges Burgoyne with opening a market for scalps at ten dollars each. Simms (Schoharie County, p. 578) says that a certificate, signed by John Butler, concerning certain scalps taken by "Kayingwaarto, the Sanakee chief", was found upon the body of an Indian killed during the Sullivan campaign. The details of the descriptions easily enable us to identify the scalps referred to in the certificate. An excellent local authority (Ketchum's Buffalo, i. 327, 329) analyzes the story thus "Gi-en-gwah-toh in Seneca is identical with Say-en-qua-ragh-ta in Mohawk, and is another spelling of the name in the certificate.... It is historically certain that the age, if nothing else, would preclude the possibility of Sayenquaraghta's being the person who wounded and scalped Capt. Greg and his corporal near Fort Stanwix in 1778. And it is equally certain that Sayenquaraghta was not killed by a scouting party of Sullivan's army in 1779, but was alive and well at Niagara in 1780, and came to reside at Buffalo Creek in 1781." The incident sought to be identified with this receipt was not only one of the most striking among the events of the border war, but the Indian actor appears to have been equally prominent. Butler makes especial mention of Brant and Kiangarachta—probably the same name as Gi-en-gwah-toh or Sayenquaraghta—in his account of the battle of Newtown (Sparks MSS.).
If we are forced to such evidence as this against the British government, we unfortunately find ourselves confronted with testimony of a like character against the Americans. Guy Johnson writes to Germain (N. Y. Col. Docs., viii. 740): "Some of the American colonies went further by fixing a price for scalps." Again it is said (Amer. Archives, 4th, v. 1102): "Seneca sachems assert that Oneidas want Butler's scalp, and that General Schuyler offered $250 for his person or scalp." Thomas Gummersall declared at Staten Island, Aug. 6, 1776 (Amer. Archives, 5th, i. 866), that "Mr. Schuyler, a rebel general, invited Sir John Johnson down, promising him protection, and at the same time employed the Indian messenger, in case he refused, to bring his scalp, for which he was to have a reward of one hundred dollars." It might, perhaps, be claimed that the bounties offered by South Carolina justified the first of these counter-assertions by the English, but I presume[684] there would be no hesitation in classing these statements, as a whole, among those which were especially prepared for the purpose of influencing public opinion.
Before leaving this subject, the reader may need to be warned against a fabrication of Franklin, which has deceived many. Sparks speaks of Franklin "occasionally amusing himself in composing and printing, by means of a small set of types and a press he had in his house, several of his light essays, bagatelles, or jeux d'esprit, written chiefly for the amusement of his friends. Among these were the following, printed on a half-sheet of coarse paper, so as to imitate as much as possible a portion of a Boston newspaper", which he gave out as a Supplement to the Boston Independent Chronicle of March 12, 1782. This pretended newspaper contained what purported to be an extract from a letter from Captain Gerrish, of the New England militia, dated Albany, March 7, 1782, which reads as follows: "The peltry taken in the expedition will, you see, amount to a good deal of money. The possession of this booty at first gave us pleasure; but we were struck with horror to find among the packages eight large ones, containing scalps of our unhappy country-folks, taken prisoners in the three last years by the Seneka Indians from the inhabitants of the frontiers of New York, New Jersey, Pennsylvania, and Virginia, and sent by them as a present to Colonel Haldimand, governor of Canada, in order to be by him transmitted to England. They were accompanied by the following curious letter to that gentleman;" which is given under the signature of James Crawfurd, and affords a detailed account of the contents of each package. This fictitious Supplement was reprinted as genuine in Almon's Remembrancer. In the first edition of Campbell's Annals of Tryon County it was printed in the Appendix as genuine, and copied from a newspaper published in Dutchess County during the Revolution (Ibid., 2d ed., 307). It was also reprinted in Rhode Island Historical Tracts (no. 7, p. 94, note I). It was exposed by Sparks, by Parton in his Life of Franklin (ii. p. 437), by Campbell in his second edition of the Annals of Tryon County, and by Col. Stone in the Introduction to his Brant (i. p. xvi.). In a note Col. Stone spoke of the document as "long believed and recently revived and included in several works of authentic history." There are copies of the original fabrication in the Stevens Collection of Frankliniana (Dept. of State at Washington; Stevens's Hist. Coll., i. p. 168); and in the Boston Public Library (Franklin Collection, p. 12).
THE WEST,
FROM THE TREATY OF PEACE WITH FRANCE, 1763, TO THE TREATY OF PEACE WITH ENGLAND, 1783.
BY WILLIAM FREDERICK POOLE, LL.D.
Librarian of the Newberry Library, Chicago.
THE treaty of peace signed at Paris, February 10, 1763, marks perhaps the most important epoch in the political and social history of North America.[1422] It settled forever a question which had been in doubt for a century,—whether the rule and civilization of France or of Great Britain were to shape the destinies of the western continent. It was the culmination of a seven years' war, in which the vigorous administration of William Pitt had crushed the allied forces of France and Spain. The capture of Quebec by Wolfe, and the surrender of the French army to Amherst at Montreal, were but incidents in the general humiliation which France and Spain had experienced on the continent of Europe, in India, in the West Indies, and on the ocean. They could fight no longer, and were glad to accept any terms of peace which Great Britain might dictate.[1423]
The Treaty of Paris made a strange transformation of the political map of North America, and for the first time brought under British sway the territory which now comprises the Western States of the American Union. Great Britain in the preceding century had granted in the charters of her American colonies boundaries extending from ocean to ocean; but her actual possessions until 1763 were a fringe of country along the Atlantic coast, and extending west to the crests of the Alleghanies. Spain was in possession of Florida and Mexico, and the remainder of the continent was in the real or nominal possession of France. Her imperial domain extended from the Gulf of Mexico to the Arctic Ocean, and from the Alleghanies to undetermined limits beyond the Rocky Mountains. By the[686] Treaty of Paris, Canada and that portion of Louisiana between the Alleghanies and the Mississippi came to Great Britain. In a secret treaty with his Bourbon ally, Carlos III. of Spain, made November 3, 1762, the day when the preliminary articles of peace were signed,[1424] Louis XV. ceded to Spain that part of Louisiana which lay west of the Mississippi, with the island on which New Orleans is situated. France therefore, in this desperate crisis, parted with all her American possessions on the main land, and her name nearly disappeared from the map of North America.[1425] Spain in the war had lost Havana, and in order to recover this key to her other West India possessions she gave up to Great Britain Florida in exchange for Havana.
Severer terms than these would have been exacted by Great Britain from both the allies, except for the recent accession of George III. to the throne, and the changes he made in his cabinet and policy. In the midst of the negotiations of the treaty, Pitt resigned in disgust, and they were concluded by his successor, the Earl of Bute, and by the Duke of Bedford. The transfers of the immense territories ceded by the treaty were not immediate, and several years elapsed before they came into possession of their new rulers.
In the discussions by the new cabinet as to the terms of the treaty, a question arose which was alarming to the American colonies. Should Canada or the Island of Guadaloupe be restored to France? The sugar trade of the latter, it was claimed, was more important to Great Britain than the Canadian for trade. It was further claimed that, if the colonies were relieved from the menace of the French and their savage allies, they would cover the continent, become a great nation, manufacture their own goods, and eventually declare themselves independent.[1426] Many pamphlets appeared in England advocating and opposing the restoration of Canada to France, but there was no abler advocate of the retention of Canada than Dr. Franklin, who was then in London.[1427]
On the 7th of October, 1763, George III. issued a proclamation,[1428] providing for four new governments or colonies, namely: Quebec, East Florida, West Florida, and Grenada, and defining their boundaries. The limits of Quebec did not vary materially from those of the present province of that name, and those of East and West Florida comprised the present State of Florida and the country north of the Gulf of Mexico to the parallel of 31° latitude.
It will be seen that no provision was made for the government of nine tenths of the new territory acquired by the Treaty of Paris, and the omission was not an oversight, but was intentional. The purpose was to reserve as crown lands the Northwest territory, the region north of the great lakes, and the country between the Alleghanies and the Mississippi, and to exclude them from settlement by the American colonies. They were left, for the time being, to the undisputed possession of the savage tribes.[1429] The king's "loving subjects" were forbidden making purchases of land from the Indians, or forming any settlements "westward of the sources of the rivers which fall into the sea from the West and Northwest", "and all persons who have wilfully or inadvertently seated themselves upon any lands" west of this limit were warned "forthwith to remove themselves from such settlements." Certain reasons for this policy were assigned in the proclamation, such as "preventing irregularities in the future, and that the Indians may be convinced of our justice", etc.; but the real explanation appears in the Report of the Lords Commissioners for Trade and Plantations, in 1772, on the petition of Thomas Walpole and others for a grant of land on the Ohio. The report was drawn by Lord Hillsborough, the president of the board. The report states:—
"We take leave to remind your Lordships of that principle which was adopted by this Board, and approved and confirmed by his Majesty, immediately after the Treaty of Paris, viz.: the confining the western extent of settlements to such a distance from the seacoast as that those settlements should lie within reach of the trade and commerce of this kingdom, ... and also of the exercise of that authority and jurisdiction which was conceived to be necessary for the preservation of the Colonies in a due subordination to, and dependence upon, the mother country. And these we apprehend to have been the two capital objects of his Majesty's proclamation of the 7th of October, 1763.... The great object of colonizing upon the continent of North America has been to improve and extend the commerce, navigation, and manufactures of this kingdom.... It does appear to us that the extension of the fur trade depends entirely upon the Indians being undisturbed in the possession of their hunting-grounds, and that all colonizing does in its nature, and must in its consequences, operate to the prejudice of that branch of commerce.... Let the savages enjoy their deserts in quiet. Were they driven from their forests the peltry-trade would decrease; and it is not impossible that worse savages would take refuge in them."[1430]
Such in clear and specific terms was the cold and selfish policy which the British crown and its ministers habitually pursued towards the American colonies; and in a few years it changed loyalty into hate, and brought on the American Revolution.[1431]
Before the royal proclamation of 1763 had been issued, or even drafted, a new and fierce Indian war, which is known in history as the Pontiac War, was raging on the frontier settlements. With the conquest of Canada and the expulsion of France as a military power from the continent, the English colonists were abounding in loyalty to the mother country, were exultant in the expectation of peace, and in the assurance of immunity from Indian wars in the future; for it did not seem possible that, with the loose system of organization and government common to the Indians, they could plan and execute a general campaign without the co-operation of the French as leaders.
This feeling of security among the English settlements was of short duration. A general discontent pervaded all the Indian tribes from the frontier settlements to the Mississippi, and from the great lakes to the Gulf of Mexico. The extent of this disquietude was not suspected, and hence no attempt was made to gain the good-will of the Indians. There were many real causes for this discontent. The French had been politic and sagacious in their intercourse with the Indian. They gained his friendship by treating him with respect and justice. They came to him with presents, and, as a rule, dealt with him fairly in trade. They came with missionaries, unarmed, heroic, self-denying men, who labored without pay for what they deemed the highest welfare of their dusky brethren. Many Frenchmen married Indian wives, dwelt with the native tribes, and adopted their customs. To the average Englishman, on the other hand, Indians were disgusting objects; he would show them no respect, nor treat them with justice except under compulsion. To him the only good Indians were dead Indians, and hence he shot savages as he would wild beasts.[1432] So[689] long as the English had the French as competitors for the good-will of the Indian, they treated him with some measure of tact and justice; but when this competition was withdrawn, it was a sad day for both races. The fur trade, by which the Indians obtained their necessary supplies, had been mainly in the hands of the French; and when it was cut off, the Northern and Western Indians, as they had lost the use of bows and arrows, and needed firearms and ammunition in order to take their game, were often in distress for want of food. When the military posts in the West were in possession of the French, the Indians were habitual visitors, and they loitered about the forts. The French tolerated the custom, and treated the intruders with kindness, although their indolent and filthy habits greatly taxed the patience of the garrisons. When these posts came into possession of the English, the visitors were insulted and driven away, and they were fortunate if they were not clubbed.[1433]
The French had shown little disposition to make permanent settlements; but the English, when they appeared, came to stay, and they occupied large tracts of the best land for agricultural purposes. The French hunters and traders, who were widely dispersed among the native tribes, kept the Indians in a state of disquietude by misrepresenting the English, exaggerating their faults, and making the prediction that the French would soon recapture Canada and expel the English from the Western territories.
Pontiac, the chief of the Ottawas, was the Indian who had the motive, the ambition, and capacity for organization which enabled him to concentrate and use all these elements of discontent for his own malignant and selfish purposes. After the defeat of the French, he professed for a time to be friendly with the English, expecting that, under the acknowledged supremacy of Great Britain, he would be recognized as a mighty Indian[690] prince, and be assigned to rule over his own, and perhaps a confederacy of other tribes.[1434] Finding that the English government had no use for him, he was indignant, and he devoted all the energies of his vigorous mind to a secret conspiracy of uniting the tribes west of the Alleghanies to engage in a general war against the English settlements. In the autumn of 1762 he sent messengers with war-belts to the tribes living north of the great lakes, to those in the Ohio and Illinois countries, and they went as far south as the mouth of the Mississippi. His scheme was to make a simultaneous attack on all the Western posts in the month of May, 1763; and each attack was assigned to the neighboring tribes. His summer home was on a small island at the entrance of Lake St. Clair; and being near Detroit, he was to conduct in person the capture of that fort.[1435]
On the 6th of May, 1763, Major Gladwin,[1436] in command at Detroit, had warning from an Indian girl that the next day an attempt would be made to capture the fort by treachery. When Pontiac, on the appointed morning, accompanied by sixty of his chiefs, with short guns concealed under their blankets, appeared at the fort, and, as usual, asked for admission, he was startled at seeing the whole garrison under arms, and that his scheme of treachery had miscarried. For two months the savages assailed the fort, and the sleepless garrison gallantly defended it, when they were relieved by the arrival of a schooner from Fort Niagara, with sixty men, provisions, and ammunition.
Fort Pitt, on the present site of Pittsburg, Pa.,[1437] was in command of Captain Ecuyer, another trained soldier, who had been warned of the Indian[691] conspiracy by Major Gladwin in a letter written May 5th. Captain Ecuyer, having a garrison of three hundred and thirty soldiers and backwoodsmen, immediately made every preparation for defence. On May 27th, a party of Indians appeared at the fort under the pretence of wishing to trade, and were treated as spies. Active operations against Fort Pitt were postponed until the smaller forts had been taken.
Fort Sandusky was captured May 16th; Fort St. Joseph (on the St. Joseph River, Mich.), May 25th; Fort Ouatanon (now Lafayette, Ind.), May 31st; Fort Michillimackinac (now Mackinaw, Mich.), June 2d; Fort Presqu' Isle (now Erie, Pa.), June 17th; Fort Le Bœuf (Erie County, Pa.), June 18th; Fort Venango (Venango County, Pa.), June 18th; and the posts at Carlisle and Bedford, Pa., on the same day. No garrison except that at Presqu' Isle had warning of danger. The same method of capture was adopted in each instance. A small party of Indians came to the fort with the pretence of friendship, and were admitted. Others soon joined them, when the visitors rose upon the small garrisons, butchered them, or took them captive. At Presqu' Isle the Indians laid siege to the fort for two days, when they set it on fire. At Venango no one of the garrison survived to give an account of the capture.[1438]
On June 22d, a large body of Indians surrounded Fort Pitt and opened fire on all sides, but were easily repulsed. The next day they informed Captain Ecuyer[1439] that every other English fort had been taken, and that all the tribes were coming to take Fort Pitt. If he and his garrison would then leave, they would assure him a safe conduct to the English settlements; but otherwise they would be unable to protect him from the bad Indians who would soon arrive. The commander thanked them for their kind solicitude in his behalf, and informed them that he had plenty of men, provisions, and ammunition, and could hold the fort against all the Indians in the woods. He told them also that an army of six thousand English would soon arrive at Fort Pitt, and that another army of three thousand had gone up the lakes to punish the Ottawas and Ojibwas. "Therefore", he said, "take pity on your women and children, and get out of the way as soon as possible." The Indians departed the next day, and did not reappear until July 26th, when they repeated their old story of "love for the English", and grieved that "the chain of friendship had been broken." The following night they surrounded the fort, and with knives dug burrows in the river banks, from which they threw fire-arrows into the fort and shot bullets whenever they had sight of a soldier above the parapets. This sort of warfare was more dangerous to the besiegers than to the besieged.[692] During five days and nights of ceaseless attack the losses of the Indians were more than twenty killed and wounded. In the garrison seven were slightly wounded, and none killed. The Indians then disappeared in order to intercept the expedition of Colonel Bouquet, which was approaching from the east with a convoy of provisions for the relief of Fort Pitt.
HENRY BOUQUET.
From an original by Benjamin West, in the gallery of the Penna. Hist. Society.
It was fortunate for the country that there was an officer stationed at Philadelphia who fully understood the meaning of the alarming reports which were coming in from the Western posts. Colonel Henry Bouquet was a gallant Swiss officer who had been trained in war from his youth, and whose personal accomplishments gave an additional charm to his bravery and heroic energy. He had served seven years in fighting American Indians, and was more cunning than they in the practice of their own artifices.[1440] General Amherst, the commander-in-chief, was slow in appreciating the importance and extent of the Western conspiracy;[1441] yet he did good service in directing Colonel Bouquet to organize an expedition for the relief of Fort Pitt.
BUSHY RUN BATTLE, Aug. 5 and 6, 1763.
Slightly reduced from a plate in the London edition of An Historical Account, as "surveyed by Thos. Hutchins, assistant engineer." Key: 1, grenadiers; 2, light infantry; 3, battalion men; 4, rangers; 5, cattle; 6, horses; 7, intrenchment of bags for the wounded; 8, first position of the troops; X, the enemy. The small squares on the hillock near "the action of the 5th" mark "graves." The map is also in Jefferys' Gen. Topog. of N. Amer., etc. (London, 1768), and in I. D. Rupp's Early Hist of Western Penna. (Pittsburg, 1847).
The promptness and energy with which this duty was performed, under the most embarrassing conditions, make the expedition one of the most brilliant episodes in American warfare. The only troops available for the service were about five hundred regulars recently arrived from the siege of Havana, broken in health, and many of them better fitted for the hospital than the field.[1442] Orders for collecting supplies and means of transportation had been sent to Carlisle; but when the colonel arrived with the troops, nothing had been done towards their execution. Such, however, was his energy and sagacity that in eighteen days the horses, oxen, wagons, and provisions needed had been collected, and he was ready to march. As the long train moved out of Carlisle towards the west, where lay the bleaching bones of Braddock's army, the inhabitants looked on in anxious silence. The sight of sixty invalid soldiers conveyed in wagons did not add to the cheerfulness of the scene. Bouquet's most efficient soldiers were the 42d regiment of Highlanders, whom he used as flankers.[1443]
On the 25th of July he reached Fort Bedford, where he left his invalids to recuperate, and engaged thirty backwoodsmen as guides. All communication with Fort Pitt, one hundred and five miles distant, was cut off, and the woods were filled with prowling savages. On August 2d he reached Fort Ligonier, fifty miles from Bedford, where he left his draught-oxen and wagons, and went on with three hundred and fifty pack-horses. About a day's march further west lay the defiles of Turtle Creek, where he expected the Indians would lay an ambuscade. He therefore determined to proceed as far as a small stream called Bushy Run, rest till night, and pass Turtle Creek under cover of darkness. At one o'clock in the afternoon of August 5th, when the train was half a mile from Bushy Run, a report of rifles was heard at the front, indicating that the advanced guard was engaged. Two companies were ordered forward to support it. The woods were quickly cleared, when firing was heard in the rear, and the troops were ordered back to protect the baggage train. Forming a circle around the convoy, the troops kept up the fight gallantly until night. As they were exposed in the open field, while the Indians were under cover in the woods, their loss was heavy compared with that of the enemy. Several officers and about sixty soldiers were killed or wounded, and the situation had become desperate. They had no choice but to camp on the hill where the engagement had taken place, and without a drop of water. Sentinels and outposts were stationed to guard against a night attack, and the morrow was awaited with anxious solicitude. During the night Colonel Bouquet wrote to General Amherst: "Whatever our fate may be, I thought it necessary to give your excellency this information.... I fear insurmountable difficulties in protecting and transporting our provisions, being already so much weakened by the losses of this day in men and horses."
BOUQUET'S COUNCIL WITH THE INDIANS.
This follows in fac-simile a plate in the London edition of the Historical Account (1766), drawn by Benjamin West; and as that artist painted the portrait of Bouquet given on another page, the sitting figure in the left of the plate may safely be considered not unlike that soldier. This plate was reëngraved by Paul Revere, in the Royal Amer. Mag., Dec., 1774.
With the early morning light the woods rang with the exultant war-cries of the Indians. The battle was renewed, and the savages, seeing the distress of the troops, pressed closer and closer, expecting an easy victory. Colonel Bouquet, with a quick perception of the situation and full knowledge of the Indian character, saw that his only hope of escaping the fate of Braddock's army was to draw the enemy from their cover and bring them into close engagement with his regulars. This he did by a stratagem. He ordered his most advanced troops, when in action, to fall back suddenly, as if in retreat, behind a second line lying in ambush. The Indians he expected would follow, eager to seize the train.
BOUQUET'S CAMPAIGN.
Reduced from Smith's Historical Account of the Expedition against the Ohio Indians, London, 1766. It is also included in Jefferys' Gen. Topog. of N. Amer., etc. (London, 1768). It is reproduced in full size fac-simile, in the Cincinnati edition, 1868, and is reëngraved in the Amsterdam edition and in Parkman's Pontiac, vol. ii.
The line in ambush would then open fire, and in the surprise and confusion of the savages the remaining troops would charge upon them. The stratagem was a complete success. As the advanced line retreated, the Indians rushed out of the woods, supposing they were victors. When the line in ambush had delivered its fire and stopped the progress of the Indians, the retreating line had changed direction and were ready to make a charge upon the flank. The ambuscading line then rose and fell upon the enemy in front, who fled, leaving sixty of their number on the field, and among them several prominent chiefs. The pursuit was continued, and the victory was complete.[1444] The next day[697] the expedition, carrying their wounded on litters, moved on towards Fort Pitt, twenty-five miles distant, and arriving four days after the fight, to the great joy of the beleaguered garrison.
The battle of Bushy Run, both for its military conduct and its political results, deserves a place among the memorable battles in America. The Indians fought with a courage and desperation rarely seen in Indian warfare, and the English troops with a steadiness and valor which was due to their training as regulars and the direction of so able a commander. The tidings of this victory broke the spirit of the Indian conspiracy, and the reports were received with rejoicing in all the English colonies.[1445]
The ultimate purpose of Colonel Bouquet's expedition, after relieving Fort Pitt, was to invade the Ohio country, punish the Shawanese, Delawares, and other tribes, extort from them treaties of peace, and recover the English captives in their possession. On account of his losses of men, horses, and supplies at Bushy Run, he was unable to carry out this design until he was reinforced, and it was now too late in the season to expect that his wants could be supplied from the East. His Ohio expedition was therefore postponed until the next year.
On the 29th of July Detroit was reinforced by two hundred and eighty men under Captain Dalzell, who in June had left Fort Niagara in twenty-two barges, with several cannon and a supply of provisions and ammunition. The day after his arrival, Captain Dalzell proposed, with two hundred and fifty men, to make a night attack on Pontiac's camp and capture him. Major Gladwin discouraged the attempt, but finally, against his judgment, consented. Some Canadians obtained the secret and carried it to Pontiac, who waylaid the party in an ambuscade. Twenty of the English were killed and thirty-nine wounded. Among the killed was Captain Dalzell himself.[1446] Pontiac could make no use of this success, as the fort[698] was strongly garrisoned and well supplied with provisions and ammunition. Elsewhere there was nothing to encourage him. The battle of Bushy Run and the arrival of Colonel Bouquet at Fort Pitt alarmed the Western tribes and ruptured the Pontiac confederation. In October some of the chiefs who beleaguered the fort at Detroit sued for peace, and in November the siege was raised. All hope of capturing Fort Pitt had vanished, and the warriors returned to their hunting-grounds. There was quietness on the frontiers during the winter of 1763-64.
In the spring of 1764 scattered war parties were again ravaging the borders. Colonel Bouquet was recruiting in Pennsylvania, and preparing an outfit for his march into the valley of the Ohio. In June, Colonel Bradstreet, with a force of twelve hundred men, was sent up the great lakes. On arriving at Fort Niagara he found assembled a large body of Indians whom Sir William Johnson had summoned into council, using threats when they did not readily respond to his summons. It was apparent that the haughty spirit of the tribes was broken. Treaties of peace were concluded, and a strip of land between the lakes Erie and Ontario, four miles wide on each side of the river Niagara, was ceded to the British government.[1447]
Bradstreet proceeded up Lake Erie, and near Presqu' Isle made, on his own authority, an absurd treaty of peace with some alleged deputies of the Ohio Indians who had made the Western settlements so much trouble; and he added to his folly by writing to his superior officer, Colonel Bouquet, that the Colonel need not march into the Ohio country, as the business of pacifying the Western Indians had been attended to. Bradstreet went on to Sandusky; and instead of punishing the Wyandots, Ottawas, and Miamis, as he was instructed to do, accepted their promise to follow him to Detroit and there make treaties. He arrived in Detroit on the 26th of August. Pontiac had departed, and sent messages of defiance from the banks of the Maumee.[1448]
Colonel Bouquet met with every obstacle in raising troops and collecting supplies for his Ohio expedition, from the stubborn Quakers in the Assembly of Pennsylvania. It was not until September 17th that his convoy arrived at Fort Pitt. Early in October he marched with fifteen hundred men and a long train of pack-horses into the valley of the Muskingum. Wherever he appeared with his strong force the Indian tribes were ready, after much talk, to make treaties of peace and deliver up their white captives, two hundred of whom, and some with reluctance, were taken back to[699] the settlements.[1449] Colonel Bouquet marched to the forks of the Muskingum,[1450] meeting with no opposition, and, having accomplished his purposes, retraced his march, and arrived at Fort Pitt on the 28th of November. The success of the expedition and the return of the captives to their homes were the occasion of joy through the whole country. The assemblies of Pennsylvania and Virginia passed votes of thanks to Colonel Bouquet, and the king conferred on him the rank of brigadier-general. Early in the summer of 1765 he was put in command of the Southern district, and died of fever at Pensacola, September 2, ten days after his arrival.[1451] Had he lived he would have made a brilliant record in the war of the Revolution.[1452]
VICINITY OF FORT CHARTRES.
Reproduced from Thomas Hutchins's Historical narrative and topographical description of Louisiana and West Florida, comprehending the river Mississippi with its branches (Philad., 1784). The same map is in his Topographical description of Virginia, Pennsylvania, Maryland, and North Carolina, comprehending the rivers Ohio, Kenhawa, &c., the climate, soil; the mountains, latitudes, &c., and of every part, laid down in the annexed map. Published by Thomas Hutchins. With a plan of the rapids of the Ohio, a plan of the several villages in the Illinois country, a table of the distances between Fort Pitt and the mouth of the Ohio. And an appendix, containing Mr. Patrick Kennedy's Journal up the Illinois river (Boston, 1787). From this edition Parkman reproduced the map in his Pontiac, vol. ii. The map was reëngraved in the French edition, Description topographique de la Virginie, etc., Paris, 1781. The original edition was published in London in 1778. It is reprinted in Imlay's Western Territories, 3d ed., p. 485. Cf. Thomson's Bibliography of Ohio, no. 625.—Ed.
The Pontiac War, so far as battles and campaigns were concerned, was ended; but Pontiac was still at large and as untamed as ever. His last hope was the Illinois country, where the foot of an English soldier had never trod. Thither he went, and applying to M. Neyon, in command of Fort Chartres, for aid, was refused. He returned to his camp on the Maumee,[701] and collecting four hundred of his own warriors, and as many of other tribes as would join him, reappeared at Fort Chartres. M. Neyon had left the country in disgust, with many French residents of the Illinois country, and M. Saint Ange de Bellerive was his successor in command of the fort. His visitors, with a mob of Illinois Indians, clamored for weapons and ammunition to fight the English. St. Ange's position was embarrassing, if not dangerous; but he acted with prudence and sagacity. He was under orders to deliver up the fort whenever a British force arrived. He refused to comply with the demands of the Indians, but pacified them with pleasant words and a few presents. The most agreeable sight to this worthy Frenchman, at that time, would have been the arrival of a regiment of British infantry.
Pontiac, again baffled, sent an embassy of warriors down the Mississippi, with an immense war-belt, and with instructions to show it at every Indian village on the river, and to procure from the French commandant at New Orleans the aid he could not get at Fort Chartres. The warriors reached New Orleans soon after the distressing news had come that Western Louisiana had been ceded to Spain by the secret treaty of November 3, 1762. The health of the governor, D'Abbadie, had given way under the intelligence that a Spanish governor and garrison might arrive any day. The governor gave the Indians one hearing, and postponed the interview until the next day. Before the hour named had arrived he was dead.[1453] M. Aubry, his successor, received the warriors, and said he could do nothing for them. Sullen and disappointed, they paddled their canoes northward, and the last hope of the conspiracy expired.[1454]
An attempt was made early in 1764 to take possession of the Illinois country by sending English troops up the Mississippi River. Major Arthur Loftus, with four hundred regulars, ascended two hundred and forty miles above New Orleans, where Indians in ambuscade fired on them, killed six men, and wounded six others.[1455] The expedition turned back, and returned[702] to Pensacola. Captain Philip Pittman[1456] arrived at New Orleans a few months later with the same design, and ascertaining the temper of the Western Indians, did not make the attempt.[1457]
General Gage, who in November, 1763, succeeded General Amherst as commander-in-chief, saw that there would be no permanent peace with the Western Indians until Fort Chartres and the Illinois country were occupied by British troops, and he resolved to send a force by way of Fort Pitt and the Ohio River. Before executing the plan he thought it advisable to send a messenger in advance, who would visit the tribes, ascertain their dispositions, and allay their enmities if he could not secure their friendship. George Croghan was the person selected for this responsible and dangerous mission. He was deputy-superintendent of Indian affairs under Sir William Johnson. As a fur-trader he had been on friendly relations with the Western tribes, and spoke their language. Lieutenant Alexander Fraser, who spoke French, was to accompany him. They arrived at Fort Pitt in February, 1765, where Croghan was delayed for three months, holding councils with Indians.[1458]
Croghan left Fort Pitt on the 14th of May, in two bateaux, with a few soldiers and fourteen[1459] Indian deputies, Shawanese, Mingos, and Delawares, as evidence and pledge that there was peace between the English and the Western tribes.
RUINS OF MAGAZINE AT FORT CHARTRES.
After a photograph. The magazine is now used by a farmer for the storage of vegetables, etc.
Description at the time of the surrender to the English in 1765: "Four toises [25.6 feet] in front, with its gate in cut stone, furnished with two doors, one of sheet iron and the other of wood, furnished with their iron-work; five toises and a half [35.2 feet] wide, six toises [38.4 feet] long; one building, two toises [12.8 feet] high; one window above, in cut stone, furnished with its shutters in wood, and one of iron" (N. Y. Col. Doc., x. 1164).
On the 23d he arrived at the mouth of the Scioto, where the Shawanese delivered to him seven French traders. On the 6th of June he came to the mouth of the Wabash, where there were indications of the presence of hostile Indians. He dropped down the Ohio six miles further and encamped. On the morning of the 8th his party was fired into by eighty Kickapoos and Mascoutins, and two white men and three of the Shawanese deputies were killed. Croghan himself, and all the rest of the party except two white men and one Indian, were wounded. They were robbed of their outfit, and carried as prisoners to Vincennes.[1460] Here Croghan found Indian acquaintances and friends who treated him and his party with kindness, and rebuked their assailants.[1461] At Post Ouatanon[1462][704] Croghan found more of his Indian acquaintances; and his captivity being ended, he resumed his official character of ambassador, received deputations from the neighboring tribes, held councils, heard and made speeches, and smoked the pipe of peace. He here received a message from St. Ange, requesting him to visit Fort Chartres, and arrange matters there, which had become exceedingly annoying. He started for the Illinois country on the 18th of July, accompanied by the chiefs of the neighboring tribes. He soon met Pontiac and the deputies from the Illinois tribes on their way to visit him. Both parties returned to the fort and held a council. Pontiac and the Illinois tribes agreed to make peace with the English, as the other nations had done.[1463]
The object of his visit being accomplished, Croghan turned his face homeward, and reached Detroit on the 17th of August. Here he called the Ottawas and the other neighboring tribes into a council, which continued for several days. The Indians acknowledged that they now saw that the French were indeed conquered; that henceforth they would listen no more to the whistling of evil birds, but would lay down the hatchet, and sit quiet on their mats. Pontiac was present, and said: "Father, I declare to all nations that I had made my peace with you before I came here; and I now deliver my pipe to Sir William Johnson, that he may know that I have made peace, and taken the King of England to be my father in the presence of all the nations now assembled."[1464]
From Detroit, Croghan communicated to the commander at Fort Pitt tidings of the complete success of his Western mission; and a company of the 42d regiment of Highlanders, the veterans of Quebec, Ticonderoga, and Bushy Run, under the command of Captain Thomas Stirling, was dispatched in boats for Fort Chartres. Captain Stirling arrived early in October,[1465] and on the 10th relieved St. Ange from his embarrassing command.[1466] These were the first English troops who ever set foot in the Illinois country.[1467]
Croghan left Detroit on the 26th of November, visited Fort Niagara, and arrived at Fort Stanwix, October 21, where he prepared his report to Sir William Johnson, which Sir William transmitted to the Lords of Trade, November 16, 1765.[1468]
For the next decade, the discreet management of the native tribes by Sir William Johnson secured the Western settlements from Indian depredations. During this period there was a constant emigration from Maryland, Virginia, and Pennsylvania into the country between the mountains and the Ohio River, and explorations were begun in Kentucky. The treaty of Fort Stanwix, made with the Six Nations and their dependants in the autumn of 1768, transferred to the British crown the Indian title to what is now the State of Kentucky east of the Tennessee (then Cherokee) River, and a large part of Western Virginia. To the province of Pennsylvania it ceded an extensive tract on its western borders, and defined the boundaries between the English settlements and the Indian territory.[1469] In making this important treaty, Sir William was acting under instructions from the crown, and was furnished with a map[1470] indicating the boundaries desired, for which concessions the crown would give money and presents. He summoned the deputies of the Six Nations and their dependent tribes to meet him in council at Fort Stanwix (now Rome, N. Y.), on the 20th of September, 1768. By the 22d, 2,200 Indians had arrived,[1471] and when the council opened on the 24th, 3,102[1472] deputies were present. For seven weeks[707] Sir William fed[1473] and hospitably entertained this immense concourse of savages, conducting their deliberations, making speeches in their own languages, humoring and repressing their wayward dispositions, and bringing them reluctantly to accept his terms.[1474]
DANIEL BOONE.
From a picture by Chester Harding, in the Mass. Hist. Society's gallery. Cf. Proc., v. 197.
Open hostilities between the Indians and settlers on the Western frontier, which had been suspended since 1765, broke out anew in the spring of 1774,[1475] and raged for a few months in what has been called "Cresap's War",[708] but is now more properly known as the "Dunmore War." Lord Dunmore was then governor of Virginia, and commander of the English forces engaged[709] in the brief campaign. As to the specific cause of the Dunmore War there has been much controversy. The killing of Logan's family, wrongly charged upon Captain Michael Cresap, was one of the causes assigned. Another was the conduct of Dr. John Connolly, the agent of Lord Dunmore in West Virginia, who was charged with being concerned in a plot to bring on a conflict between the settlers and the Indians, in order to serve British interests in the Revolutionary War which was then coming on.[1476] Lord Dunmore was suspected at the time of being in the plot,[1477] and the charge was probably as groundless as that made against Captain Cresap. The occasion of the outbreak lay upon the surface of events,—the growing disquietude and jealousy of the Indians in view of the advancing settlements of the whites, which had reached the eastern bank of the Ohio and was moving farther west. The Shawanese and Delawares had been robbing traders and scalping settlers, whenever an opportunity occurred, ever since they had made a treaty of peace with Colonel Bouquet in 1764. Sir William Johnson's letters to the home government during these nine years are full of narratives of these outrages, and forebodings that another Indian war might break out at any time. More white persons were killed by these Indians during this period of nominal peace than in the whole campaign of the Dunmore War.
A bitter controversy between Virginia and Pennsylvania for possession of the country between the mountains and the Ohio added to the complications arising from the Indian troubles.[1478] Virginia held Fort Pitt and was[710] in possession of the country. In 1774 the tide of emigration was setting strongly towards Kentucky, which had been explored by Daniel Boone in 1769, and later by other parties.[1479] In April, a party of eighty or ninety Virginians made a rendezvous at the mouth of the Little Kanawha, with the intention of descending the Ohio and making a settlement in Kentucky. George Rogers Clark, whose name is to appear later in more important transactions, then twenty-one years of age, was one of the party. In a letter,[1480] written some years later, to Dr. Samuel Brown, professor in Transylvania University, he gives a clear account of the manner in which the Dunmore War began. While camping at the rendezvous, "reports", says Clark, "from the Indian towns were alarming, which caused many to decline meeting. A small party of hunters below us had been fired on by the Indians, which led us to believe that the Indians were determined to make war." They resolved to surprise an Indian town on the Scioto, but had no competent leader. "We knew of Captain Cresap being on the river, about fifteen miles above us, with some hands, settling a plantation, and intending to follow us to Kentucky as soon as he had fixed his people. We also knew he had experience in a former war.[1481] It was proposed, and unanimously agreed on, to send for him to command the party." The messenger met Cresap on his way to Clark's camp. "A council was called, and to our astonishment our intended general was the person who dissuaded us from the enterprise, alleging that appearances were suspicious, but there was no certainty of a war; that if we made the attempt proposed, he had no doubt of success, but that a war would be the result, and that we should be blamed for it, and perhaps justly. He was asked what measure he would recommend to us. His answer was that we should return to Wheeling to obtain intelligence of what was going forward; that a few weeks would determine the matter; and if we should find the Indians not hostilely disposed, we should have full time to prosecute the intended settlements in Kentucky. This measure was adopted, and in two hours we were under weigh."
On arriving at Wheeling, the people, being in a state of alarm, flocked into their camp from every direction. All the hunters and men without families joined them, and they became a formidable party. From Pittsburg they received a message from Dr. Connolly requesting them to keep their position until the messengers returned who had been sent to the Indian towns. Before an answer could be received, a second message, addressed to Captain Cresap, arrived by express from Pittsburg, stating that war was[711] inevitable. Cresap was entreated to use his influence with the party to cover the country until the inhabitants could fortify themselves. "The time of the reception of this letter", says Clark, "was the epoch of open hostilities with the Indians. The war-post was planted, a council called, the letter read, the ceremonies used by the Indians on so important an occasion acted, and war was formally declared. The same evening two scalps were brought into camp. The following day some canoes of Indians were discovered descending the river, taking advantage of an island to cover themselves from our view. They were chased by our men fifteen miles down the river. They were forced ashore, and a battle ensued. A few were wounded on both sides, and we got one scalp only."
The more important charge brought against Cresap, of killing Logan's family, George Rogers Clark disposed of in the same letter, as follows:—
"On our return to camp [from Grave Creek] a resolution was formed to march next day and attack Logan's camp on the Ohio [at Baker's Bottom, opposite the mouth of Yellow Creek], about thirty miles above Wheeling. We actually marched about five miles, and halted to take refreshment. Here the impropriety of executing the proposed enterprise was argued; the conversation was brought on by Cresap himself. It was generally agreed that those Indians had no hostile intentions, as it was a hunting party, composed of men, women, and children, with all their stuff with them.... In short, every person present, particularly Cresap, upon reflection, was opposed to the projected measure. We returned, and on the same evening decamped and took the road to Redstone. It was two days after this that Logan's family was killed; and from the manner in which it was done, it was viewed as a horrid murder by the whole country."
The killing of Logan's family was done by a party of whites living in the vicinity, under the lead of one Greathouse, who was not a member of the party of Cresap, nor, so far as appears, had he any acquaintance with Cresap.[1482] The "Speech of Logan", which Jefferson printed in his Notes on Virginia (1787, p. 105), and accompanied with the comment that Cresap was "a man infamous for his many murders he had committed on these injured people",[1483] has perpetuated an unmerited stigma upon the memory of an innocent and patriotic man. The speech for a century has been[712] regarded as a choice specimen of Indian eloquence, and the youth of the land have worn it threadbare as a declamation exercise.[1484]
The savagery and miseries of a border war now burst upon the Western frontier. The settlers left their homes and took refuge in the forts, and many new stockades were constructed. Roving bands of Indians swept over the country, pillaging the farms and murdering every white person they found. The Virginia government took prompt action in raising two armies to invade the Indian country. One assembled at Lewisburg, in Greenbriar County, under General Andrew Lewis; and the other at Fort Pitt, under Lord Dunmore. General Lewis had orders to march to the mouth of the Great Kanawha; and Lord Dunmore, descending the Ohio, promised to meet him there. Early in June, while these forces were collecting, Colonel Angus McDonald, with four hundred men, dropped down the Ohio from Wheeling, and landing at Grave Creek, marched against the Indians on the Muskingum, and found their village deserted. The Indians, expecting the whites would cross the river in pursuit, were prepared to receive them in an ambuscade; but finding that the whites were now as well skilled in woodcraft as they, came in and proposed terms of peace. Five chiefs were required of them as hostages. One of these was liberated under the promise that he would bring in the chiefs of other tribes to make peace. A second was sent out to find the first, and neither returning, Colonel McDonald burnt their town, destroyed the crops, and went back to Wheeling with the three hostage chiefs, whom he sent to Williamsburg as prisoners.[1485]
General Lewis took up his march with eleven hundred men on the 11th of September, and arriving at Point Pleasant, near the mouth of the Great Kanawha, on the 6th of October, found that Lord Dunmore was not there. On the 9th a despatch was received from his lordship, stating that he had changed his plans, and should land at the mouth of the Big Hockhocking. Lewis was ordered to cross the Ohio and meet him near the Indian towns. The Indians had this information, doubtless, before it was received by General Lewis, and resolved to attack his camp forthwith before a junction of the two armies was made. The battle came on the next morning while General Lewis was preparing to cross the river, and was fought with the highest courage and skill on both sides until evening, when the Indians were surprised by a flank movement which they supposed was a reinforcement.[714] They gave way and retreated across the river. The Indians were commanded by the noted chief Cornstalk.[1486] The battle of Point Pleasant ranks with Bushy Run as one of the most plucky and evenly contested battles ever fought between Indians and white soldiers. The losses of the Virginians were seventy-five killed and one hundred and forty wounded. The losses of the Indians, who fought under cover, were probably about the same, but were not ascertained, as they threw their dead into the river.[1487]
Reinforced by several companies under Colonel Christian, General Lewis crossed the river, with the intention of joining Lord Dunmore near Chillicothe. At Salt Licks (now Jackson, Ohio) he had orders to halt his troops. Suspecting the motives of Lord Dunmore, he disregarded the orders and pressed on. Near Chillicothe Dunmore made a treaty with the Ohio Indians, who promised not to hunt south of the Ohio, and not to molest voyagers on the river. Lord Dunmore's conduct in changing the plan of the campaign, which left General Lewis exposed to a separate attack, and his subsequent conduct in making peace with the Indians before he had punished them for their breach of former treaties, were regarded by the soldiers engaged as premeditated treachery. This impression was confirmed by the plot he later made with Indians to ravage the settlements of Virginia, and by his hasty departure from the colony. His real motives will never be known. The initial scenes in the drama of the Revolutionary War were in progress. His position as a Tory governor was embarrassing, and naturally inspired suspicion in the minds of the colonists.[1488]
While the Dunmore War was in progress, the "Quebec Bill" was discussed and enacted by the British Parliament. The bill so enlarged the boundaries of the province of Quebec that it made the Ohio and Mississippi rivers its southern and western limits, and the whole Northwest territory a part of Canada. The bill in its passage did not escape the protest of Lord Chatham, Edmund Burke, Charles James Fox, Colonel Barré,[715] and the corporation of the city of London.[1489] The colonies, at the time of the enactment of the Quebec Bill, made complaint concerning it "for establishing the Roman Catholic religion in the province of Quebec, abolishing the equitable system of English laws, and erecting a tyranny there, to the great danger (from so total a dissimilarity of religion, law, and government) of the neighboring colonies."[1490] Its real purpose and effect, however, of robbing the American colonies of 240,000 square miles of territory which had already been ceded to them in their charters, and establishing the Mississippi and the Ohio rivers as Canadian boundaries, in case of war and a separation of the Eastern colonies from the mother country, were not mentioned, and seem not to have been considered. The colonies then had little interest in, and scarcely a thought of, the country beyond the Alleghanies. During the war, however, they learned something of the value of the West; and in the negotiations for peace, in 1782-3, the Quebec Bill was often recurred to as one of the principal causes of the Revolution.[1491]
For several years after the close of the Dunmore War the Western Indians were again quiet. They heard with satisfaction of the opening battles of the Revolution, and were not in haste to take the war-path for either side. Except at the British post of Detroit, the sentiments of the settlers west of the mountains were intensely anti-English. The Eastern colonies were too much occupied in their own defence to give any attention to what was happening at the West. The hardy pioneers, left to themselves, conducted their own campaigns. They were not enrolled in the Continental army, and they knew little of, and cared less for, the Continental Congress and the great commander-in-chief of the army. They recognized only the authority of Virginia; and, as voluntary and patriotic rangers, they achieved some of the most important and brilliant victories of the war, concerning which the official proceedings of Congress, and the voluminous correspondence of Washington and of other prominent actors in the war, make scarcely a mention.
The northeastern portion of Kentucky was explored by Dr. Walker in 1747, the central portion by Daniel Boone and others in 1769, and the northwestern portion in 1773. The first log cabin in Kentucky was built by James Harrod at Harrodsburg, Mercer County, in 1774, and the first fort by Boone, at Boonesborough, Madison County, in June, 1775.[1492] About[716] this time George Rogers Clark made an exploring tour in Kentucky, and in the autumn returned to his home in Albemarle County, Virginia.[1493] In the following spring he went back to Kentucky; and, in view of the depredations which the Ohio Indians were committing on the settlements, called a meeting of the pioneers at Harrodsburg to devise a plan of defence. His plan was to appoint delegates who should proceed to Williamsburg and petition the Assembly that Kentucky be made a county of Virginia. The meeting, however, acting before his arrival and against his judgment, elected him and Gabriel Jones to be members of the Virginia Assembly. Their journey through the trackless wilderness and across the mountains was attended with great suffering, and they arrived after the legislature had adjourned. Patrick Henry was the governor. Before him and the Council, Clark laid the claim of Kentuckians to be regarded as citizens of Virginia, and asked for five hundred pounds of powder as a gift for their protection. He was heard with attention and respect, but was told that the Council had no authority to furnish the gunpowder as a gift. It could be loaned to the Kentuckians as friends, but not as citizens. Clark refused to accept it on such conditions, and left, saying, "A country which is not worth defending is not worth claiming." He was called back, and an order on the commandant at Fort Pitt was given to him for the powder. At the autumn session of the legislature Kentucky was made a county of Virginia.[1494]
On returning to Kentucky Clark found the country more disturbed than ever. The Ohio Indians were invading it with larger parties; they lay in ambush about every fort,[1495] and murdered the luckless soldier of the garrison who ventured outside the stockade. Clark seriously pondered over this alarming state of affairs, and came to the conclusion that the strategic points for defending Kentucky were on the north side of the Ohio River. He had probably never heard of Scipio Africanus and of his policy of fighting the enemy in the enemy's country. Without disclosing his thoughts to any one, he sent, during the summer of 1777, two young hunters as spies to Kaskaskia and Vincennes, and, having received favorable reports, started in October[1496] for Williamsburg. There, on December 10th, he laid before Governor Henry his plan for the conquest of the Northwest territory from the British, whom he regarded as the instigators of the Indian raids upon Kentucky. He also consulted confidentially with George Mason, George Wythe, and Thomas Jefferson. They, with the governor, were enthusiastic for the execution of his scheme and took immediate steps to furnish him with ammunition and supplies.
A PLAN OF CASCASKIES (Kaskaskia).
Reduced from a plate in Philip Pittman's Present State of the European Settlements on the Mississippi (London, 1770). Key: A, The fort. B, The Jesuits. C, Formerly commanding officer's house. D, The church. The river is about 450 feet wide, which will afford a scale to the rest of the plan.—Ed.
The recent surrender of Burgoyne at Saratoga had inspired a new energy in the conduct of the war. The necessary legislation was obtained under the pretext that the supplies were for the defence of Kentucky. Twelve hundred pounds, in the depreciated currency of Virginia, was voted him for expenses in the enemy's country. In January, 1778, Clark received from Governor Henry the rank of colonel, and two sets of instructions: one, which was public, for the defence of Kentucky; and the other, which was secret, for an "attack on the British post at Kaskaskia." He was empowered to raise seven companies, of fifty men each, in any county of the commonwealth, to act as militia under his orders.[1497] He began recruiting, under his public orders, at Fort Pitt, but with little success, owing to quarrels between Virginia and Pennsylvania, and the opposition to the policy of sending soldiers, who were needed there, to defend Kentucky.[1498] After much tribulation he raised three companies, and took them down the river to Corn Island, at the Falls of the Ohio,[718] opposite Louisville. Several companies that had been recruited elsewhere were promised him, but they did not arrive. Some of his men deserted, but enough Kentuckians joined him to make up four companies, or nearly two hundred men.[1499] Here he divulged the secret of their destination, and read to the men his confidential instructions. They willingly accepted the situation, and the next day the expedition started. As their boats shot the falls, the sun was in total eclipse, which fixes the date as June 24, 1778. He had just received from Fort Pitt the news of the treaty of alliance between France and the United States, which he could use to advantage with the French settlers at Kaskaskia. With two relays at the oars, he ran the boats day and night, and on the 28th landed on an island at the mouth of the Cherokee (Tennessee) River. Here a party of white hunters, who had been at Kaskaskia eight days before, was brought in, and they volunteered to accompany him. Nine miles below the island, and one mile above old Fort Massac, they ran into a small creek, concealed their boats, and without a cannon,[1500] a horse, or any means of transporting baggage or supplies, took up their march of more than a hundred miles across the prairies.[1501]
On the afternoon of July 4th they arrived within three miles of Kaskaskia, the river of that name lying between them and the town. There they remained concealed until dark, when they marched to a farm-house on the east bank of the river, about a mile north of the town, captured boats, crossed the river, and found that the people of the town, who a few days before had been under arms expecting an attack, were not aware of their approach. "I immediately", writes Clark, "divided my little army into two divisions: ordered one to surround the town; with the other I broke into the fort,[1502] secured the governor, Mr. Rocheblave, [and] in fifteen minutes[720] had every street secured; sent runners through the town, ordering the people on pain of death to keep close to their houses, which they observed; and before daylight had the whole town disarmed."[1503]
A SECTION OF LIEUT. ROSS'S MAP OF THE MISSISSIPPI RIVER.
Clark had been informed by the hunters who accompanied him that the French residents of Kaskaskia regarded the Kentuckians, whom they called[722] Big-Knives, as more savage than Indians; and resolving to make use of this impression, he gave them a shock which would enable them later to appreciate his lenity. The troops, therefore, kept up during the night the most hideous noises; and the residents, believing they had indeed fallen into the hands of savages, gave themselves up as lost. In the morning Clark had for them another surprise. M. Gibault, the priest, with some aged citizens, came to him and begged that the people might once more assemble in their church, hold a service, and take leave of each other, which request was readily granted. When the service was over a deputation came and said the people would submit to the fate of war and the loss of their property, but asked that they might not be separated from their wives and children. "Do you mistake us for savages?" said Clark. "My countrymen disdain to make war upon women and children. It was to prevent the horrors of Indian butchery upon our wives and children that we have taken up arms and appear in this stronghold of British and Indian barbarity. Now please inform your fellow-citizens that they are at liberty to conduct themselves as usual without the least apprehension." They were told of the treaty of alliance with France, and that if he could have surety of their attachment to the American cause they could enjoy all the privileges of its government, and their property would be secure to them. The people were transported with joy, and took the oath of allegiance to the State of Virginia. They also raised a company of volunteers, who accompanied Major Bowman to Cahokia, a French settlement sixty miles north of Kaskaskia. That town readily gave its adhesion to the American cause. Clark also put himself in friendly relations with the Spanish commandant at St. Louis.[1504]
Clark next turned his attention to the British post of Vincennes. M. Gibault, the friendly priest, in view of what had taken place at Kaskaskia and Cahokia, thought that it was unnecessary to send troops to Vincennes. The post was in his spiritual jurisdiction, and he offered to undertake the mission himself, with several persons accompanying him. The result was the same as at Cahokia. The few British soldiers at the post could make no resistance to the popular sentiment, and withdrew to Detroit. Clark, having no troops to spare, allowed the residents, after taking the oath, to[723] garrison and to be responsible for the safety of the fort, which he put in charge of one of his own officers, Captain Leonard Helm, who retained one of his own privates. M. Gibault returned to Kaskaskia about the 1st of August; and Clark, in less than one month after his arrival, was in possession of every British post in the Illinois country, without a battle or the loss of a life.[1505]
A problem now demanded solution which was of so difficult a nature that it would challenge the sagacity and resources of a veteran commander, and Clark was not a veteran. He was twenty-five years of age, and his only military experience had been as a ranger in Kentucky, and as a captain in the short and bloodless campaign of Lord Dunmore. How was he to hold this immense territory with less than two hundred three-months militiamen, whose term of enlistment had already expired, and with no hope of receiving recruits from Kentucky or Virginia? The British commander could send down a force which would outnumber his ten to one. The savage tribes which had ravaged Kentucky could by concerted action overwhelm his scanty force. The Virginia currency which he brought to pay for supplies he found would buy nothing in the Illinois country. It was fortunate for the nation and the Western States that George Rogers Clark was equal to the emergency, and that he had the self-reliance and sagacity to solve the problem successfully.
By his personal entreaties and promises to pay his men, about one hundred of them reënlisted. The others he sent home, with despatches, and with M. Rocheblave, the late commander at Kaskaskia, as a prisoner, to Governor Henry at Williamsburg.[1506] His four companies he soon filled up with resident French recruits, and pretended that he could get all the American soldiers he wanted at the Falls of the Ohio.
He next undertook the pacification and control of the Indian tribes.[724] His sudden appearance in the Illinois country and rapid capture of the Western posts was the occasion of astonishment to the Western tribes; and their chiefs from a range of five hundred miles flocked to Cahokia to see the strange warrior of the "Big Knives." Clark met them there in council with a stern and haughty dignity. Soft speeches to Indians before they were under control he regarded as bad policy. He showed no fear in their presence, and no anxiety for their friendship. He laid before them a war-belt and a peace-belt, and told them to take their choice. If they did not want to have their own women and children killed, they must stop killing the women and children of the Americans. One chief after another rose and made submissive speeches. He refused to smoke the peace-pipe with any until he had heard from every tribe represented, and treaties were concluded. All the tribes gave in their allegiance to the American cause, and he had no further trouble with the Illinois Indians. The councils at Cahokia lasted five weeks, and their influence extended to all the nations around the great lakes. Captain Helm, under Clark's instructions, made similar treaties with the Wabash Indians.
The training and discipline of his little army now received his attention, and in order to conceal his weakness in numbers he allowed no parade except of the guards. About Christmas, 1778, he heard from his spies that Governor Hamilton was preparing to send an army into the Illinois country; and later, that Hamilton with eight hundred men had descended the Wabash and recaptured Vincennes.[1507] Early in January Hamilton sent a scouting party to Kaskaskia to waylay and capture Clark, and it came near succeeding while Clark was returning from a visit to Cahokia. This party was supposed to be an advanced guard of Hamilton's army, and every preparation was made to defend the town. On the 29th of January, 1779, Colonel François Vigo,[1508] a Spanish merchant of St. Louis, arrived from Vincennes,[725] and reported that Hamilton had sent away his Indians and most of his troops, leaving only eighty in the garrison; and that he was intending to collect them in the spring, and with five hundred Southern Indians make a campaign against Kaskaskia.
Clark now conceived the project of capturing Vincennes with his small force before Hamilton could reassemble his troops, and its execution forms one of the most daring and brilliant expeditions in American warfare. On the 4th of February he sent off a large boat called "The Willing", mounting two four-pounders and six swivels, under command of Lieutenant John Rogers, who had forty-six men and orders to sail for the Wabash, and, ten leagues below Vincennes, await further orders. On the next day Clark crossed the Kaskaskia River with one hundred and seventy men, marched three miles, and encamped. On the 7th he began his painful march across the Illinois prairies, a distance as a bird flies of one hundred and forty miles, but as he marched, of more than two hundred. The winter was breaking up, the rivers were swollen, the prairies were covered with water and ice, and the mud was such as can only be found in that rich alluvial country. On the 13th they reached the banks of the Little Wabash. Before them lay a stretch of water three miles wide and from three to four feet deep. They made a canoe, and on the 15th ferried the ammunition across and took the men over the channel, marching them the remaining distance through the water. On the 16th their provisions ran short. Major Bowman's journal says: "17th, marched early; crossed several runs very deep; came to the Embarrass River; tried to cross; found it impossible; travelled till 8 o'clock in mud and water, but could find no place to encamp on. 18th, came in sight of the swollen banks of the Wabash; made rafts for four men to cross and go up to the town and steal boats; but they spend day and night in the water to no purpose, for there is not one foot of dry land to be found. 19th, Colonel Clark sent two men in the canoe down the river to meet the bateau 'The Willing,' with orders to come on day and night, that being our last hope, and we starving; no provisions of any sort now two days." On the 20th they found some canoes and killed a deer. On the 21st the little army plunged into the water and waded for more than a league,—Clark says "breast high", Bowman says "sometimes to the neck", the boats picking up such as were likely to drown. On the 22d, says Bowman, "Clark encourages his men, which gave them great spirits; marched on in the waters; those that were weak and famished went in the canoes; no provisions yet; Lord help us." On the 23d they crossed the Wabash, wading four miles through water breast-high. "We plunged into it with courage, Colonel Clark being first, taking care to have the boats take those that were weak and numbed with the cold." Having[726] crossed, they captured an Indian canoe with some buffalo meat, tallow and corn, which were made into a broth and fed to the famishing men, who soon recovered their strength.[1509] No tidings had come from "The Willing", for she had not yet arrived.[1510]
The town was but a few miles distant, and was unaware of his approach. Clark resolved not to delay the attack until the boat had arrived with his artillery and ammunition, but to capture the fort immediately with the men and means he had. Before moving on the town he wrote a proclamation, addressed to the inhabitants, worded in his peculiar style, and advising all "friends of the king to instantly repair to the fort, join their hair-buying[1511] general, and fight like men. True friends of liberty may depend on being well treated; but they must keep out of the streets, for every one I find in arms on my arrival I shall treat as an enemy." The same evening he marched, took possession of the town, and threw up earthworks in front of the fort. The firing began immediately, and was kept up all night. His men lay in rifle-pits within thirty yards of the walls, the cannon of the fort being so mounted that they could not be trained upon them. Whenever port-holes of the fort were opened to fire, the besiegers poured in a volley of musket-balls, and severely wounded seven of the garrison. Two pieces of cannon were silenced in fifteen minutes. In the morning, Clark summoned Hamilton to surrender, stating that if he were obliged to storm the fort, Hamilton would receive the treatment due to a murderer. "Beware", he added, "of destroying stores of any kind, or any papers or letters that are in your possession; for, by heavens, if you do, there will be no mercy shown you."[1512] While these negotiations were pending, Clark's men took the first full meal they had had for eight days. The summons to surrender was refused, and the firing went on.
CLARK'S SUMMONS.
From a manuscript kindly furnished by Lyman C. Draper, Esq., of Madison, Wis., who owns a large number of Clark's papers. Cf. R. G. Thwaites on Draper, in the Mag. Western Hist., Jan., 1887. The above letter was addressed thus:—
Later in the day, Governor Hamilton asked for a truce of three days, and for a conference as to terms. Clark replied that he would consider no other terms than surrender at discretion; but that he, with Captain Helm, would meet "Mr. Hamilton at the church." At this time a party of Indians came in whom Hamilton had sent to the Ohio for scalps. Clark's men tomahawked them in front of the[728] fort, and threw their bodies into the river.[1513] Clark's terms of capitulation were accepted; and at ten o'clock the next day (the 25th) the fort and its stores were delivered up, and the garrison of seventy-nine officers and men surrendered as prisoners of war.[1514] The only casualty to Clark's soldiers was one man slightly wounded.
Hearing that a convoy with provisions, clothing, and ammunition was on its way to Vincennes from Detroit, Clark sent fifty-three men in boats up the Wabash to intercept it.[1515] They met the convoy one hundred and twenty miles up the river, and captured it, with forty prisoners and despatches for Hamilton.[1516] The value of the goods captured was £10,000, and Clark's men, who had been suffering for clothing and supplies, were bountifully provided for. Clothing to the value of £800 was laid aside for the troops which Clark expected would soon join him in an expedition, which he was planning, for the capture of Detroit.[1517] This project had been on his mind ever since he came into the Illinois country, and all his energies were now directed to its execution. Not being able with his few troops to guard so many prisoners, he sent Governor Hamilton, his principal officers, and a few other persons who had made themselves especially obnoxious by being out with Indian parties, as prisoners of war to Virginia, and paroled the remainder.[1518]
Having met and established friendly relations with the chiefs of the neighboring tribes, he placed Captain Helm in charge of the civil affairs of Vincennes, Lieutenant Brashear in command of the fort with a garrison of forty men, and embarked, on March 20, 1779, for Kaskaskia, on board "The Willing" and seven other boats. They made the trip of three hundred and fifty miles without casualty, and on arriving at Kaskaskia, after an absence of seven weeks, were welcomed by Captain Robert George, who, with his company of forty-one men, had come up from New Orleans, and was in command of the post.
The military conquest of the Illinois country now being complete, a civil government was forthwith established. The Assembly of Virginia was prompt to act as soon as the capture of Kaskaskia was known. In October, 1778, the territory northwest of the Ohio was constituted a county of Virginia, and was named the county of Illinois.[1519] On December 12th, Colonel John Todd was appointed county lieutenant. The governor in his letter of instructions directed Colonel Todd to coöperate with Colonel Clark in his military operations, to have care for the happiness, increase, and prosperity of the county, and to see that justice was duly administered. Colonel Todd's appointment was especially pleasing to Colonel Clark, who said, in writing to George Mason: "The civil department in the Illinois had heretofore robbed me of too much of my time that ought to be spent in military reflection. I was now likely to be relieved by Colonel John Todd. I was anxious for his arrival and happy in his appointment, as the greatest intimacy and friendship had subsisted between us. I now saw myself rid of[730] a piece of trouble that I had no delight in."[1520] Colonel Todd arrived in Kaskaskia in May, 1779. Courts of justice and militia companies were immediately organized in Kaskaskia, Cahokia, and Vincennes,[1521] and, from the lack of American citizens who were qualified, nearly all the official positions were filled by French residents.[1522] A complete civil government was organized and regularly administered in the Northwest territory until the treaty of peace with Great Britain in 1783. This local government became an important factor in the negotiations for that treaty, with reference to the question of boundaries.
Colonel Clark had promises of troops from Virginia and Kentucky for his Detroit expedition, and he was to meet them at Vincennes. Arriving there in July, 1779, he found only thirty from Kentucky of the three hundred promised him. There were no tidings of recruits from Virginia; and Major Bowman, his trusty companion in former campaigns, was fighting the Shawanese on the Ohio at a disadvantage.[1523] Clark, being very impatient, sent out officers to recruit in the settlements, and for this purpose went himself to the Falls of the Ohio. Here he received a letter from Jefferson, now the governor of Virginia, giving him new assurances of Virginia troops for the Detroit expedition, and stating that it was his intention to build a fort on the Mississippi, below the mouth of the Ohio, in order to strengthen the claim of the United States to the Mississippi as its western boundary. The duty of building this fort was later committed to and performed by Colonel Clark. The fort was completed in June, 1780, and was called Fort Jefferson.[1524]
At this time twelve hundred Indians and Canadians from Detroit, with artillery, under Captain Byrd, were coming silently down the Big Miami river to invade Kentucky and help carry out a scheme of conquest soon to be explained. They went up the Licking river, captured two stockades, which were defenceless against cannon, committed the customary British and Indian barbarities, and, although meeting with no opposition, retreated as rapidly as they came. In explanation of the sudden retreat it has been said that the British commander was shocked at the brutal conduct of his[731] Indians, and would proceed no further.[1525] In view of the habitual practice of the British commanders at Detroit of paying the Indians for American scalps,[1526]—a practice Clark alludes to in the term "hair-buying general", which he applied to Governor Hamilton,—this explanation is charitable, but it seems hardly probable. It is more likely that Captain Byrd and his Indians heard the report that Colonel Clark had suddenly returned from his defence of St. Louis and the Illinois country against Sinclair's Indians, and was likely to make it a busy summer for the invaders in Kentucky. Clark with two companions proceeded to Harrodsburg to enlist troops. He there closed the land office, and soon had a thousand men with artillery at the mouth of the Licking, ready for an expedition across the Ohio. He moved rapidly upon Chilicothe and other Indian towns, which he destroyed, with their crops, and also a British trading-post where the Indians had been supplied with arms and ammunition.
Clark's favorite scheme of organizing an expedition for the capture of Detroit was delayed, and his spirit chafed under the disappointment. Jefferson was deeply interested in the project, and, Sept. 26, 1780, wrote an earnest letter to General Washington, urging him to furnish the means. "We have long meditated the attempt, under the direction of Colonel Clark, but the expense has obliged us to decline it. We could furnish the men, provisions, and every[thing] necessary, except powder, had we the money. When I speak of furnishing the men, I mean they should be militia, for such is the popularity of Colonel Clark, and the confidence of the Western people in him, that he could raise the requisite number at any time."[1527] On Dec. 15th he writes again, in more urgent terms, and says: "The regular force Colonel Clark already has, with a proper draft from the militia beyond the Alleghany, and that of three or four of our northern counties, will be adequate for the reduction of Fort Detroit, in the opinion of Colonel Clark.... I am the more urgent for an immediate order, because Colonel Clark awaits here your Excellency's answer by the express."[1528] Washington was also impressed with the military importance of Clark's expedition, and, Dec. 29th, instructed Colonel Brodhead, in command at Fort Pitt, to furnish Clark with the artillery and stores he required, and such a detachment of Brodhead's and Gibson's regiments as could be spared.[1529]
Colonel Brodhead did not acknowledge General Washington's instructions, which were placed in Colonel Clark's hands to deliver, until the 25th[732] of February, and they did not reach him until the 21st.[1530] During this interval of nearly two months, Benedict Arnold, with fifteen hundred British troops, sailed up the James River, and was ravaging Virginia, which, from the absence of its Continental soldiers, was almost defenceless.[1531] In this emergency, Colonel Clark tendered his services to Baron Steuben in her defence, and with a small body of militia received the enemy in Indian and Western fashion. Jefferson, writing, Jan. 18, 1781, to the Virginia delegates in Congress, says: "Baron Steuben had not reached Hood's by eight or ten miles, when they [the enemy] arrived there. They landed their whole army in the night, Arnold attending in person. Captain Clark (of Kaskaskias) had been sent forward with two hundred and forty men by Baron Steuben; and, having properly disposed of them in ambuscade, gave them a deliberate fire, which killed seventeen on the spot and wounded thirteen."[1532]
Colonel Clark's outfit at Fort Pitt went on very slowly and with many embarrassments. Writing, with the rank of brigadier-general, to Washington, on the 26th of May, 1781, he says: "The invasion of Virginia put it out of the power of the governor to furnish me with the number of men proposed for the enterprise to the West."[1533] Colonel Brodhead did not feel that he could spare the troops at the fort which were promised. Clark's only hope was now in getting Continental troops. "But I have not yet lost sight of Detroit", he says, and wishes to set out on the expedition early in June. He was doomed to disappointment. The summer and autumn wore away, and the obstacles in his path increased. The troops he expected were employed elsewhere; the Western Indians again became hostile, and there was a general apprehension among the settlements of incursions upon them from Detroit by the British and their Indian allies. The opportunity of capturing Detroit had passed. General Irvine, in command at Fort Pitt, writing to Washington, Dec. 2, 1781, says: "I presume your Excellency has been informed by the governor of Virginia, or General[733] Clark, of the failure of his expedition." He reports General Clark at the Rapids of the Ohio with only seven hundred and fifty men, and "the buffalo meat all rotten." "The general is apprehensive of a visit from Detroit, and is not without fears the settlement will be obliged to break up unless reinforcements soon arrive from Virginia."[1534]
At this point, George Rogers Clark, at the age of twenty-nine years, ceased to be a factor in Western history. His favorite scheme had failed under circumstances which he could not control. No command was offered him in the Continental army. With a feeling that he was neglected, that his eminent services were not appreciated, and with a sense of wrong that his private property had been sacrificed to pay public debts,[1535] his mind became depressed, and he fell into social habits which tended to increase his despondency. In November, 1782, he conducted a force of ten hundred and fifty men against the Indians on the Miami, took ten scalps and seven prisoners, burned their towns, destroyed their crops and the outfit of a British trading-post;[1536] but he displayed none of the brilliancy shown in his earlier campaigns. He was discharged from the service of Virginia July 2, 1783, with a letter of thanks for his services from the governor. The financial distress of the State was assigned as the motive for his discharge.[1537]
In March, 1782, the frontier settlers, without provocation and in cold blood, butchered nearly a hundred "Christian Indians" in the Moravian mission settlements on the Muskingum. These Indians, under the instruction of their teachers, had adopted the habits and pursuits of civilized life, and were non-resistant in their principles. Their villages, Schönbrun, Gnadenhütten, and Salem, were regularly laid out, with houses and chapels built of squared logs and having shingled roofs. They had farms yielding abundant crops, and schools where the children were educated. Visitors from Western tribes far and near came to look upon the strange sight, and verify the reports which had reached them of the happiness and prosperity of the "Christian Indians." The number of converts had increased so rapidly that good Father David Zeisberger and his assistant, John Heckewelder, the missionaries, believed that the whole Delaware tribe would soon come under their influence.[1538]
With the outbreak of the American Revolution the troubles of these gentle missionaries and their converts began. They were between two raging fires. Their peace principles forbade their engaging in the conflict or favoring either side, although their sympathies, which they could not express, were with the Americans. As a natural consequence of their neutrality, they fell under the suspicion and hatred of both parties. The British at Detroit were eager to secure all the Ohio tribes in their interest, and the missionaries made the Delawares pledge themselves to remain neutral. It was also suspected, and it was doubtless true, that the Moravians gave information to the Americans as to the movements of hostile tribes. The British, therefore, were of the opinion that the Moravian settlements were in secret alliance with the enemy, and they resolved to break up the settlements[735] and remove the inhabitants to Sandusky.[1539] On the other hand, the settlers on the frontiers of Pennsylvania and Virginia hated the "Christian Indians", first, and chiefly, because they were Indians; and secondly, because they allowed the Wyandots to come among them, and had fed and hospitably treated other hostile tribes which had made raids on the white settlements. In the autumn of 1781 Colonel David Williamson raised a company of volunteers in western Pennsylvania to visit the Moravian towns and remove the inhabitants to Fort Pitt; but in the execution of the scheme he was anticipated by the British and their Indian allies, the Shawanese,[1540] Wyandots, and Hurons, who were there before him. On August 10, 1781, one Matthew Elliott, in the service of the governor of Detroit, and Half-King, a chief of the Hurons, appeared at Gnadenhütten with three hundred whites and Indians flying the British flag. Without offering personal violence, they urged the missionaries and converts to abandon the Muskingum country, and place themselves under the protection of the British at Sandusky, on the ground that they were in constant peril from the white settlers on the border. Having declined the offer of British protection, their fears were appealed to, their cattle were shot, and their houses ravaged by the Indians. Worn out by fear and persecution, on September 11th they turned their unwilling steps from the valley of the Muskingum towards Sandusky, under the charge of their uninvited escorts.[1541] Having reached their destination, the missionaries were sent to Detroit to answer before the governor to charges made against them, and were acquitted.[1542]
During the winter the captives at Sandusky suffered from want of proper shelter and food, and a party of a hundred went back to the deserted villages to gather corn which had been left standing in the fields. A report of their return reached the white settlements, and Colonel Williamson, without any civil or military authority, again picked up a company of volunteers and started for the Muskingum country. On his former expedition he brought back several Indians whom the British party had overlooked, and after the form of a trial at Fort Pitt they were released. The colonel was blamed by the people that he had not shot the Indians at sight. Arriving at the deserted towns, he found the "Christian Indians" harvesting their corn and suspecting no danger. He told them that he had come to remove them to Fort Pitt, and ordered them to a building, where they were confined. A vote was then taken by his men, whether the prisoners should be taken to Fort Pitt or put to death. Only eighteen voted to spare their[736] lives. The captives were informed of their fate, and were told that, "inasmuch as they were Christians, they would be given one night to prepare for death in a Christian manner." In the morning they were tomahawked and butchered in the most shocking manner. "Thus", said Loskei, the Moravian bishop, "ninety-six persons magnified the name of the Lord by patiently meeting a cruel death."[1543]
Another expedition, known as the "Crawford Campaign", was forthwith organized, the purpose of which was to exterminate the Wyandots and the Moravian Delawares on the Sandusky, and to give no quarter to any Indian. Colonel Williamson was again the chief organizer, and probably the same men were enlisted who had disgraced themselves on the Muskingum. Colonel William Crawford,[1544] who had seen much service in the Continental army, was put in command, much against his wishes, and Williamson was second in rank. On May 25, 1782, four hundred well equipped and mounted backwoodsmen, breathing vengeance against the red men, started out from Mingo Bottom, on the Ohio, for the Sandusky country, a journey of one hundred and fifty miles. Nineteen days later a remnant of them returned to the same spot, a defeated and demoralized rabble, with a loss of seventy killed, wounded, and missing. The Indians knew their plans, and had time to summon the neighboring tribes and to procure British soldiers and artillery from Detroit. Two battles were fought, in which they were outnumbered and outgeneralled, and it was fortunate that any of them escaped. Stragglers came in daily, reporting the sufferings and cruel tortures they had undergone, but none of them could report the fate of Colonel Crawford. He was captured, and the barbarity of the Indian mind exhausted itself in the ingenuity of the tortures with which he was put to death.[1545]
On May 26, 1780, a raid was made on the Spanish post of St. Louis by a party of fifteen hundred Indians and a hundred and forty English and Canadian traders, fitted out by Lieutenant-Governor Sinclair, of Michilimacinac, and led by a Sioux chief named Wabasha. The affair lasted only a few hours, and no assault was made on the fortified enclosure; but a considerable number of persons found on their farms or intercepted outside of the palisades were shot or captured. A portion of the party crossed the Mississippi and made a similar raid on Cahokia. They all then left for their northern homes as rapidly as they came,—some by way of the Wisconsin and Fox rivers, and others by way of the Illinois River to Chicago, where Sinclair had two vessels awaiting them.
This affair has been the occasion of many conflicting statements[1546] as to the time it occurred, the number of persons killed and captured, and how it happened that so large a body of Indians in the British service came so far and did so little which was warlike. It has been often asserted, and as often denied, that George Rogers Clark, at the request of the Spanish commandant, was at St. Louis at the time of the incursion, or so near as to render efficient service. The purpose and character of this expedition, and the causes of its failure, are explained by contemporary documents[1547] recently published, which were not accessible to earlier writers. It was a part of a much larger scheme ordered, and perhaps devised, by the cabinet in London, to capture New Orleans and all the Spanish posts west of the Mississippi and the Illinois country.[1548]
On May 8, 1779, Spain declared war against Great Britain, and on July 8 authorized her American subjects to make war upon Natchez and other English posts on the east bank of the Mississippi.[1549] On June 17, Lord George Germain, secretary for the colonies, wrote to General Haldimand, informing him that Spain had declared war, and that hostilities were to begin at once; and he was ordered to attack New Orleans and reduce the Spanish posts on the Mississippi.[1550] These orders were issued in a circular letter sent to all the Western governors. Sinclair acknowledged the circular February 17, 1780, and informed the general that he had taken steps to engage the Sioux and other tribes west of the Mississippi for the expedition.[1551] De Peyster at Detroit wrote to Haldimand, March 8, that he[739] had taken measures "to facilitate Sinclair's movements on the Mississippi, and be of use to Brigadier Campbell, if he has not already taken New Orleans. The Wabash Indians will amuse Clark at the Falls of the Ohio."[1552] The general scheme here touched upon was, that General Campbell, stationed at Pensacola, should, with a British fleet and army, come up the Mississippi to Natchez, and there meet the Indian expedition sent by Sinclair down the western bank of the river, which was under instructions to capture and destroy the Spanish posts on its way. The united forces were then to expel the Spaniards from all their settlements on the lower Mississippi. The scheme miscarried. Governor Galvez, of New Orleans, a person of great ability and energy, no sooner heard of the declaration of war against Great Britain than he raised a fleet and army to capture the British posts on the Mississippi; and in September, 1779, the forts at Manchac, Baton Rouge, and Natchez, with their garrisons, surrendered to him. He took also eight English vessels employed in transport service, and in carrying the supply of provisions to Pensacola.[1553] Galvez next turned his attention to Mobile, which he captured March 14, 1780; and then to Pensacola, which surrendered May 9, 1781. Brigadier Campbell, therefore, in May, 1780, was otherwise engaged than in executing the splendid scheme which had been assigned to him by the British cabinet and his superior officer, General Haldimand.[1554]
It does not appear that, at the time of the attack on St. Louis, Sinclair, or the party of Indians and traders engaged in the expedition, had heard of the successes of the Spaniards on the lower Mississippi, and of the collapse of the main scheme.[1555] Haldimand furnished Sinclair with the latter information in a letter written at Quebec, June 19th, twenty-four days after the fiasco at St. Louis, and supposing, apparently, that the expedition had not moved from Prairie du Chien. "I have received", he said, "your letters of the 15th and 17th of February, and much approve of the measures they advise me you have taken in the arrangement of the war parties intended to favor the operation of Brig. General Campbell, agreeably to the circular letter forwarded to you.... It is very unfortunate that the [Campbell] expedition should have been either abandoned or not undertaken so early as was intended, owing probably to the fleet having been dispersed, which, from what has happened upon the Mississippi, would appear has been the case. The intermediate attacks you have proposed the Indians should make will, however, answer a good end."[1556]
That Colonel George Rogers Clark was present on the opposite bank of the river at the time of the St. Louis attack, and was there by request of the Spanish commandant, Leyba, and for the defence of the Illinois country, can no longer be doubted.[1557] The proof is in a report of Col. John Montgomery, printed in the Calendar of Virginia State Papers (iii. 443). Montgomery was one of Clark's four captains in his Kaskaskia campaign, and at the period of which he speaks was in command, under Clark, of the post of Kaskaskia. In his report he states: "In the spring of 1780 we [at Kaskaskia] were threatened with an invasion. Colonel Clark, being informed of it, hurried with a small body of troops from the Falls to the mouth of the Ohio, where he received other expresses from the Spanish commandant and myself, and luckily joined me at Cohos [Cahokia] in time enough to save the country from impending ruin, as the enemy appeared in great force within twenty-four hours after his arrival. Finding they were likely to be disappointed in their design, they retired after doing some mischief on the Spanish shore, which would have been prevented if unfortunately[741] the high wind had not prevented the signals being heard." It is evident from this statement that the defence of his own territory was Clark's chief motive for being present on this occasion, and that the invitation of and friendship for the Spanish commandant at St. Louis were mere incidents in the transaction. "Prisoners and deserters from the enemy confirmed the report", says Montgomery, "that a body of a thousand English and Indian troops were on their march to the Kentucky country with a train of artillery;[1558] and the colonel, knowing the situation of that country, appeared to be alarmed, and resolved to get there previous to their arrival.... After giving me instructions, he left Cohos on the 4th of June, with a small escort, for the mouth of the Ohio, on his route to Kentucky." The orders he left with Col. Montgomery were to pursue the Indians retreating up the Illinois River and attack their towns about the time they were disbanding, and to proceed as far as Rock River. "I immediately", says Montgomery, "proceeded to the business I was ordered to do, and marched three hundred and fifty men to the lakeopen [?] on the Illinois River;[1559] and from thence to the Rock River, destroying the towns and crops, the enemy not daring to fight me."[1560]
How much the presence of Clark near the scene of action contributed to the demoralization of the Indian forces is not mentioned by any of the contemporary writers. It is known, however, that his name was a terror to the savage tribes; and Sinclair, in organizing his expedition, found this dread of Clark among the Sioux and other nations west of the Mississippi. He wrote to Captain Brehm, Haldimand's aide-de-camp, February 15, 1780, that there was nothing in Hamilton's disaster which ought to alarm the Sioux, and that "many of them never heard of it. The short-sighted harpies, which necessity has thrown into the service, dwell upon the stories they hear from fretful bands of Delawares, Mascoutins, and Kickapoos near where the event happened. Admit that the disaster has all the supposed consequent misfortunes, it is still more necessary for us to engage the Indians to take a part, which will at once declare their enmity to the party they are engaged to act against."[1561] "The party" Sinclair had in mind was evidently Clark himself; and with him the chief object of the expedition was to recapture the Illinois country.
The general scheme devised by Lord George Germain for the complete[742] conquest of the West,—of bringing down a large party of northwestern Indians upon St. Louis and Ste. Geneviève; of sending an expedition from Detroit to invade Kentucky and keep Colonel Clark busy; of bringing up the Mississippi to Natchez, under General Campbell, a fleet and army, there to unite with the northern expeditions, and from thence to capture the Illinois country and all the Spanish settlements on the river—was an excellent one, and had every promise of success. St. Louis was in no condition to resist an assault, and rank cowardice marked the conduct of the governor and the few soldiers stationed at the post when the Indian raiders appeared.[1562] The Illinois country was very feebly garrisoned, and not a soldier or a shilling had ever been contributed by the Continental Congress for its conquest or defence. The scheme failed because of the promptness and exceptional activity of the Spaniards under Governor Galvez, and the watchfulness and energy of Colonel Clark. It was the last concerted effort of Great Britain to regain possession of the West; as the campaign of Clinton and Cornwallis, with its result one year later at Yorktown, was her expiring effort on the Atlantic coast.[1563] If the Western scheme had been successful, the country north of the Ohio River would have been a part of the province of Quebec, and might have remained Canadian territory to this day. In negotiating two and three years later the treaty of peace with Great Britain under such conditions, it is difficult to conceive what boundaries the United States could have secured. Spain therefore rendered an invaluable service to the United States by enabling George Rogers Clark to hold with his Virginia troops the country he had conquered from the British, until the treaty of peace confirmed to the nation the Mississippi River as its western boundary.
Notwithstanding this important service, there was nothing friendly and disinterested, at this time, in the relations of Spain to the United States. She was looking solely to her own interests, and refused to acknowledge the independence of the United States, or enter into a treaty of alliance except on the most degrading conditions. She must be allowed the exclusive right to navigate the Mississippi, the undisturbed possession of the Floridas and of the east bank of the Mississippi, which she had captured from the British. Spain asserted that the United States had no territorial rights west of the Alleghanies, and that their western boundaries were defined by the royal proclamation of October 7, 1763.[1564] The captures of Manchac, Baton Rouge, Natchez, and Mobile had awakened her military zeal, and nothing less than the possession of the entire Mississippi Valley would then satisfy her territorial ambition. French diplomacy favored some of these extraordinary claims of Spain.[1565]
For the purpose of strengthening the Spanish claim to territory east of the Mississippi, the governor of St. Louis, Don Francisco Cruvat, sent out on the 2d of January, 1781, an expedition to capture St. Joseph, an English fort situated near the present site of Niles, Michigan. Although two hundred and twenty leagues distant, this was the nearest post to St. Louis which raised the British flag. The expedition was in command of Captain Eugenio Pourré, and comprised sixty-five militiamen (of whom thirty were Spaniards) and sixty Indians. The journey, made in the depth of winter across a trackless country, each man on foot carrying his provisions and equipments, was a daring exploit, and it was successful in accomplishing its immediate purpose. They took the fort in the name of his most Catholic Majesty, made prisoners of the few English soldiers found in it, divided the provisions and stores among their own Indians and those living near, and returned to St. Louis early in March, with the English flag, which Captain Pourré delivered with due ceremony to Governor Cruvat.[1566] The treaty of peace, which it is not the purpose of this chapter to discuss, brought this and other shallow pretensions on the part of the Spaniards to territorial rights east of the Mississippi River to an end.[1567]
THE CLOSING SCENES OF THE WAR.
BY THE EDITOR.
The campaign of Yorktown over, Rochambeau made his headquarters at Williamsburg (Parton's Jefferson, ch. 29), while Washington, having dispatched two thousand men south under St. Clair (instructions in Sparks's Washington, viii. 198) to reinforce Greene, moved with the rest of the army, by land and water, to the neighborhood of the Hudson (Sparks's Washington, viii. 199, 200; Irving's Washington, iv. ch. 29, 30; Kapp's Steuben, ch. 23; Lossing's Field-Book, ii. ch. 5). Washington at once acted in conjunction with Congress to prevent the country lapsing into a neglect of the war establishment through over-confidence in the effects of the capture of Cornwallis. In April, 1782, Washington left Philadelphia and joined the army, establishing his headquarters at Newburgh, in a house which is still standing. (Views of it are in Mag. of Amer. Hist., 1883, p. 357 (taken in 1834); Irving's Washington, quarto ed., iv. 434; W. H. Bartlett's Hist. of U. S.; with a paper by C. D. Deshler on "A Glimpse of Seventy-Six", in Harper's Mag., xlix. 231; with Lossing's "Romance of the Hudson", in Ibid., liii. p. 32; also in his Field-Book, ii. 99, his Hudson, 199, and his Mary and Martha Washington, 215; Gay's Pop. Hist. of U. S., iv. 84.)
There are several special accounts of this latest camp of the army. (Cf. Asa Bird Gardiner on "The Last Cantonment of the Main Continental Army" Mag. Amer. Hist., 1883, vol. x. 355), which is accompanied by a plan of the camp near New Windsor. Simeon De Witt's maps of the locality and the camp are in the N. Y. Hist. Soc. library. De Witt was the geographer of the American army, succeeding Erskine, who had died in 1780. Various orderly-books of this time are in the American Antiquarian Society library. Other papers on the camp are in Mag. Amer. Hist., Jan., 1884, p. 81; by J. T. Headley in Harper's Mag., lxiv. 651, and Galaxy, xxii. 7. Cf. also Ruttenber's Newburgh (1859) and the account of the first annual meeting of the Hist. Soc. of Newburgh Bay and the Highlands, Feb. 22, 1884,—Newburgh, 1884.
Washington and Congress were soon perplexed with the case of Capt. Joshua Huddy, and with a project of retaliation for that officer's execution. Huddy, an officer of the New Jersey line, commanded a block-house at Tom's River, New Jersey, and was there captured with his men by a band of refugee loyalists (W. S. Stryker's Capture of the Block-House at Tom's River). Huddy was taken by Capt. Richard Lippincott, a New Jersey loyalist, to Sandy Hook, where he was hanged on the pretence that he had been engaged in causing the death of Philip White, a Tory, who had been killed while endeavoring to escape from his guard. Congress ordered retaliation, and a young British officer, then a prisoner, Capt. Charles Asgill, was drawn by lot to suffer death unless Clinton should surrender Lippincott. Clinton condemned the action of Lippincott, who was, however, acquitted on trial, on the ground that his action was in accordance with instructions from the board of Associated Loyalists (Jones's N. Y. during the Rev., vol. ii. note xxix. p. 481). The execution of Asgill was postponed by Washington in the hope of some compensating arrangement, and at the instance of Lady Asgill, the young man's mother, the French monarch interceded with such effect that Congress, in November, 1782, ordered Washington to set Asgill at liberty. (References: Sparks's Washington, i. 378; viii. 262, 265, 301-310, 336, 361; ix. 197; Sparks MSS., vols. lxxii., xlviii., lviii.; Niles's Principles and Acts 1876 ed.), p. 509; Remembrancer, xiv. 144, 155; xv. 127, 191; Political Mag., iii. 468, 472; Jones's N. Y. during the Rev., ii. 232, 483, and Johnston's Observations on Jones, 77; Thomas Paine's American Crisis, and a Letter to Sir Guy Carleton on the Murder of Captain Huddy, and the Intended Retaliation on Captain Asgill, of the Guards (London, 1788); Memoir of Gen. Samuel Graham, edited by his son, Col. J. J Graham (Edinburgh, privately printed, 1862,—extract in Hist. Mag., ix. 329). Washington caused all the papers on the subject to be printed in the Columbian Mag., Jan. and Feb., 1787. This young officer of twenty died as Gen. Sir Charles Asgill in July, 1823. Cf. Diplomatic Corresp., xi. 105, 128, 140; Irving's Washington, iv. ch. 29; Sparks's Corresp. of the Rev., iii.; Heath's Memoirs, 335; Sparks's Franklin, ix. 376; Hamilton's Republic, ii. 282. The English view is given in Adolphus's England, iii. ch. 46.
Early in May the news from England made it evident that the war was approaching an end, and the promised release from further campaigning left the public mind in a better condition to comprehend how weak a stay Congress had proved itself, and how insufficient was the power lodged in that body to compel the States to do any and all acts necessary for the common good. The natural distrust which was created of the form of government, whose success in carrying on the war had been largely fortuitous, was still more increased by the difficulties yet to be encountered in disbanding an army, in satisfying its well-earned demands, and in organizing a stable control for the future (Bancroft, final revision, vi. 59, etc.) It was not, then, surprising that[745] notions of counteraction should in any minds take the form of a monarchical solution of the problem, and this sentiment found expression in a letter, written by Col. Nicola, of the army, to Washington, in which it was somewhat adroitly suggested that Washington should consent to be the head of a royal government. Washington met the suggestion with an indignant and stern reply, and we hear nothing more of the subject (Sparks, viii. 300, etc.; Irving, iv. 370).
Sir Guy Carleton was sent to relieve Sir Henry Clinton in New York, and he arrived early in May. His instructions (April 4, 1782,—Sparks MSS., lviii.; cf. Sparks's Washington, viii. 294-298) were to avoid hostilities except for defence. He failed to open communication with Congress to treat for peace (Madison's Debates, vol. i.; Rives's Madison, i. 331, 333). An account of the cantonments of the British about New York just before this (Feb., 1782) is in the Sparks MSS. (xlix. vol. iii.). Clinton's account of his being relieved is in Mahon, vii. App., p. xvii. It was not till August that Carleton's communications to Washington rendered it certain that the concession of independence was a preliminary of the negotiations then going on for peace. Active hostilities accordingly ceased on both sides, though a posture of caution and vigilance was still maintained by each commander. The French, who had remained in Virginia, now joined (September) the Americans on the Hudson. There is among the Rochambeau maps an excellent colored plan (no. 33), measuring twenty inches wide by thirty high, showing the country from White Plains north, and called Position des Armées Amer. et Française à King's Ferry, Peak's Hill, et Hunt's Taverne, 17 Sept. et 20 Oct., 1782. In October the French under the Baron de Viomenil marched to Boston and embarked, while Rochambeau and Chastellux sailed from Baltimore. On the final departure of the French see a paper by J. A. Stevens in the Mag. Amer. Hist., vii. p. 1. The report on their departure, made to Congress, is dated Jan. 1, 1783,—Secret Journals, iii. 267.
CAPTAIN ASGILL.
(From Andrews's Hist. of the War, London, 1785, vol. iv. Cf. Harper's Cyclo. of U. S. Hist., ii. 653.)
In Dec., 1782, the army had set forth in representations to Congress the sufferings which it had experienced from the want of pay (Journals of Congress, iv. 206; Madison's Debates, etc., i. 256; Rives's Madison, i. 383; Morse's Hamilton, i. 114). Nothing satisfactory came of this appeal, and a movement of uncertain extent, but seemingly having the countenance of officers of high rank, was aimed at producing action on the part of the army, which might easily, if allowed to proceed, have passed beyond prudent control, till a claim for redress of grievances might instigate an act of mutiny. Its chief manifestations were in two successive anonymous addresses, circulated through the camp at Newburgh, which were written, as was later acknowledged, by Major John Armstrong, a member of Gen. Gates's staff. Washington interposed at a meeting of[746] the officers (March 15, 1783), and by a timely address turned the current. The original autograph of his address belongs to the Mass. Hist. Society, and that body issued a fac-simile edition of it (Boston, 1876), with letters of Col. Pickering, Gov. John Brooks, Judge Dudley A. Tyng, and William A. Hayes, authenticating the document, and describing the scene when Washington read it. Copies of the addresses made by Armstrong himself are in the Sparks MSS., xlix. 1, 8, and they are given in Sparks's Washington, viii. 551; and in a Collection of papers, relative to half-pay and commutation of half-pay, granted by Congress to officers of the army. Compiled by the permission of General Washington from the original papers in his possession (Fishkill, 1783). Cf. Sabin, iv. 14, 379. Washington at a later day, Feb. 23, 1797, wrote to Armstrong, exonerating him from having intended any evil to the country (Sparks MSS., no. xxiv.). The genuineness of this letter having been assailed, Armstrong (Nov. 27, 1830) wrote a letter asserting its truth, and this autograph letter is in Harvard College library. More or less extended accounts of the incidents accompanying this attempt to organize a coercion of the civil by the military power will be found in the lives of Washington by Marshall (iv. 587); Sparks (viii. 369, 393); and Irving (iv. ch. 31); in Pickering's Pickering (i. ch. 29, 30, 31; including Montgar's, i. e. Armstrong's, letter in 1820); Drake's Knox, 77; Rives's Madison (i. 392); J. C. Hamilton's Republic (ii. 365, 385), and Alexander Hamilton (ii. 68); Morse's Hamilton, i. 119; Quincy's Shaw (p. 101); Hildreth's United States (iii. ch. 45); Dunlap's New York (ii. 230); Lossing's Field-Book (ii. 106, 315); Journals of Congress (iv. 213); Bancroft, final rev., vi. 71.
A letter from Lafayette, who had gone to France, shortly afterwards arrived, announcing the signing of the preliminary articles of peace; and the news being confirmed by a letter from Carleton, Washington, on April 19, the eighth anniversary of the day of Lexington, issued a proclamation announcing cessation of hostilities. Sparks's Washington (viii. 425; App. 13); Heath's Memoirs; Madison's Debates (i. 437); Diplom. Correspondence (ii. 319-329; x. 121; xi. 320); Secret Journals of Cong. (iii. 323, under date of April 11, 1783).
Knox had suggested (Drake's Knox), and in April, 1783, the Society of the Cincinnati had been formed from the officers of the army, with a plan of transmitting membership to descendants. It was intended as an organization to perpetuate a brotherhood formed in arms, and to offer an organization which might conveniently deliberate as occasion required upon the condition of the country. As a rule the principal civil leaders of the Revolution looked upon the combination with disapproval (Wells's Sam. Adams, iii. 202; Austin's Gerry, ch. 25; Sparks's Franklin, x. 58; Bigelow's Franklin, iii. 247; John Adams, Works, ix. 524, called it "the first step taken to deface our temple of liberty"), and even with dread, lest it might lend itself to the creation of castes and the furtherance of schemes against the liberties of the country. There was a widespread dissatisfaction among the people generally, not always temperately expressed, and years were required to remove the apprehension so incontinently formed. The society was organized in the Verplanck house (view in Appleton's Journal, xiv. 353); the fac-similes of the signatures to the original subscription are given in the Penna. Archives, vol. xi., and a representation of a certificate signed by Washington is in Lossing's Field-Book, ii. 128. The bibliography of the society and its branches, by States, is given by Lloyd P. Smith in the Bulletin of the Philadelphia Library, July, 1885. Particular reference may he made to the accounts and expositions given in the Penna. Hist. Soc. Memoirs (1858), vi. pp. 15-55, by Alexander Johnston; North Amer. Review, v. lxxvii. 267, by W. Sargent; St. Clair Papers, i. 590; Kapp's Steuben, ch. 26; E. M. Stone's Our French Allies, p. xix; Lossing's Field-Book, ii. 127; J. B. McMaster's People of the U. S., i. 167; R. C. Winthrop's Speeches, etc. (1852, etc.), P. 345; and the account of the centennial of the order in Mag. Amer. Hist., Sept., 1883, pp. 171, 235, 253.
On the 18th June, 1783, Washington from Newburgh, whither he had removed his headquarters from Verplanck's after the departure of the French, issued his last circular letter to the States (Sparks, viii. 439; Irving, iv. 394), full of counsel and warning.[1568]
The troops were in large part dismissed on furlough, and finally, Congress (Oct. 18) by proclamation, directed the disbandment of the army, to take effect Nov. 2 (Secret Journals, iii. 406). A small body was, however, still kept together under Knox, to await the definitive form of the treaty. Washington now occupied a brief space in making a journey with Gov. Clinton over the battlefields of Burgoyne's campaign. He then, at the request of Congress, proceeded to Princeton, and was domiciled for a while at Rocky Hill, in order to be at hand for conferences with that body. From this place, Nov. 2, 1783, he issued a farewell address to the army. (Sparks, viii. 491; Irving, iv. 402; Pickering's Pickering, i. 488.)
The last surviving pensioner of the Revolution is called one Lemuel Cook in the Amer. Hist. Record, ii. 357. In 1864, what purported to be the record of the latest survivors of the war appeared in Elias B. Hillard's Last Men of the Revolution (Hartford, 1864). An account of John Gray as the last soldier of the Revolution, by J. M. Dalzell, was printed at Washington in 1868. B. P. Poore's Descriptive Catal. of Gov't Publications will enable one to trace many of those soldiers whose claims came before Congress.
Carleton giving notice of his readiness to evacuate New York, Washington now returned to West Point, and prepared to enter the city with Gov. Clinton on the appointed day. The general and the governor entered the upper end of the town on Nov. 25, while the British embarked at the lower end. Valentine's N. Y. City Manual for 1861 gives various documentary records, some in fac-simile. On Dec. 1 there were fireworks, a broadside programme of which is in the cabinet of the Mass. Hist. Society. Trumbull painted a picture of[747] the scene of the evacuation, which is given in the Mag. Amer. Hist., 1883, p. 387. The histories of New York city commemorate the event, and there are illustrated papers on it in Harper's Mag., Nov., 1883 (vol. lxvii. 609), and Manhattan Mag., Dec., 1883. Cf. Hist. Mag., xi. 42; Lieut.-Col. Smith's letter in N. Y. City during the Rev. (N. Y., 1861); Irving's Washington, iv. ch. 33; Jones's N. Y. during the Rev. (ii. 504). Some days after the British had gone, Washington met his principal officers (Dec. 4) in Fraunce's Tavern, and bade them farewell.
FRAUNCE'S TAVERN IN NEW YORK.
This building stood on the corner of Pearl and Broad streets, N. Y., and was occupied by Washington as headquarters when he entered the city after the British evacuated in 1783. The cut follows a view given in Valentine's N. Y. City Manual, 1854, p. 547, accompanied by a paper by W. J. Davis. Cf. Mag. of Amer. Hist., iii. 144, 151, 152; Lossing's Field-Book, ii. 839; Gay's Pict. Hist. U. S., iv. 90; Dawson's Westchester. The opening chapter of McMaster's History of the People of the United States, (N. Y., 1883) describes the appearance of New York city at this time, and indeed of the other principal American towns, and the habits of living through the country. An account of New York at this time is also in the Manhattan Mag., ii. 561.
Immediately leaving New York, Washington journeyed to Annapolis, where Congress was then assembled. Here, on Dec. 23, he met Congress in the State House (view in Columbian Mag., Jan., 1789; Lossing's Field-Book, ii. 402), where he resigned his commission in an address. (Sparks, viii. 504, and App., xiv.; Marshall, iv. 622. A fac-simile of the manuscript is given in the Mag. Amer. Hist., 1881, vol. vii. 106. Cf. Journals of Congress, iv. 318; Ridgeley's Hist. of Annapolis.) On Christmas Eve, Washington reached Mount Vernon, once more a private gentleman.
Congress on the 14th Jan., 1784, sitting at Philadelphia, finally ratified the definitive treaty of peace.
[Reference is commonly made but once to a book, if repeatedly mentioned in the text; but other references are made when additional information about the book is conveyed.]
Abercrombie, Lt.-Col., at Yorktown, 504.
Acland, Lady, 357;
portrait, 358.
Acland, Major, 294, 308, 357, 358.
Acton, Mass., men at Concord, 184.
evaded, 10;
enforced, 11.
Adams, Abigail, 205;
on Bunker Hill, 187.
Adams, Brooks, Emancipation of Mass., 255.
Adams, C. F., on John Hancock, 271.
Adams, H. B., Maryland's influence upon land cessions, 708.
Adams, John, on Acts of Trade, 7, 9;
on Otis's argument on Writs of Assistance, 11;
report of Otis's argument, 13;
demands reopening of courts, closed by want of stamps, 32;
his political philosophy, 35;
on Canon and Feudal Law, 35, 83;
likeness, 36;
Dutch edition of his acc. of the troubles with Great Britain, 36;
his personal appearance, 36;
painted by Copley, 36;
by Stuart, 36;
by Trumbull, 36;
by Winstanley, 36;
engravings of, 36;
of his wife, 36;
his homestead, 36;
his writing in fac-simile, 37;
his part against Great Britain, 37;
defends Capt. Preston, 49;
autog., 51;
leads in impeachment of Oliver, 57;
in Congress (1774), 59;
presides at Port Act meeting, 60;
and the navigation laws, 64;
in the Congress of 1765, 74;
brief at trial of Preston, 86;
helps Sam. Adams in the replies to Hutchinson (1773), 90;
on the tea-ship commotions, 91;
controversy with Brattle on the payment of judges, 95;
Familiar letters, 95;
in the Congress of 1774, 99;
notes of debates in Congress of 1774, 100;
drafts part of the Declaration of Rights, 100;
notes on debates in Congress of 1775, 107;
controversy with Daniel Leonard, 108;
as Novanglus, 110;
Hist. of the dispute, 110;
considered Jonathan Sewall his adversary, 110;
attracts attention (1774), 117;
uneasy over Washington's inaction at Cambridge, 152;
visits Lexington, 180;
on independence, 238;
on com. to draft Declaration of Independence, 239;
in debate, 239;
his intercepted letters, 249;
his belief in independence, 249;
outspoken for independence, 255;
on the growing spirit of independence, 257;
owned portrait of Jefferson, 258;
leading advocate of the Decl. of Indep., 261;
autog. 263;
life of Hancock, 265;
life by E. Ingersoll, 266;
on Hancock, 271;
on Paine's Common Sense, 272;
his Thoughts on Government, 272;
preceded by letter to R. H. Lee, 272;
letter to John Penn, 272;
on observing the anniversary of the Decl. of Indep., 274;
drafts the Mass. Constitution, 274;
Defence of the Constitutions, 274;
lives in New York, 276;
weary of Washington's Fabian policy, 392;
proposes to elect generals annually, 446;
his interest in naval matters, 567;
goes to France with Com. Tucker, 567;
on employing Indians, 673.
Adams, Josiah, Address, 184.
Adams, Samuel, portraits, 40, 41;
autograph, 40;
painted by Copley, 40;
by John Johnson, 41;
statue, 41;
in the Mass. legislature, 42;
his political writings, 42, 83;
compared with Lord Mansfield's speeches, 43;
demands that the troops in Boston be removed to the Castle (1770), 49;
moves for a com. of correspondence, 54;
in Congress (1774), 59;
would prevent reconciliation, 60;
wrote the answers of the legislature to Gov. Hutchinson, 67, 90;
Vindication of the Town of Boston, 67;
first mover against taxation, 68;
wrote the replies to Bernard, 73;
Appeal to the World, 84;
Letter to Hillsborough, 84;
on "Vindex", 86;
writes Hancock's massacre oration, 88;
and com. of correspondence, 89;
Rights of the Colonies, 90;
proposes Congress, 99;
proposes Duché for chaplain of Congress (1774), 99;
in the Congress of 1774, 99;
had a hand in the Declaration of Rights (1774), 100;
the tribune of the Mass. yeomanry, 113;
returns from the Congress of 1774, 116;
repute in London, 117;
at Lexington (1775), 122, 179;
excepted from pardon, 132;
in the Cont. Congress, 236;
his character, 236;
alienated from Hancock, 238;
the earliest to avow independence, 248;
autog., 263;
life by H. D. Gilpin, 266;
a spurious Oration, 274;
and the Conway cabal, 446.
first held in N. E., 65;
instituted, 567.
Adolphus, England, 112.
Agnew, Daniel, Region of Penna. north of the Ohio, 709.
Agnew, General, 427;
killed, 386.
Agnew, J. L., Savannah, 519.
Ainslee, Capt. Thomas, Journal, 222.
Aitkins, Plan of Boston, 207.
Aix-la-Chapelle, treaty, 14.
Alamance, battle of, 81.
Albach, James R., Annals of the West, 648.
Albany, 609;
Indian treaty at (Aug., 1775), 623;
plan of (1770), 298.
Alden, Col. Ichabod, at Cherry Valley, 636;
killed, 638.
Alden, Fort (Cherry Valley), 666.
Alexander, Capt. James, 534.
Allaire, Anthony, diary, 525, 535.
Allan, Col. John, 657;
correspondence with Haldimand, 657.
Alleghany River, 609.
Allen, Battles of the British navy, 589.
Allen, Ethan, 160;
autog., 128;
would lead an invasion of Canada, 160;
captured at Montreal, 162;
statue, 214;
Narrative, 214;
letters, 214;
lives of, 214;
a price on his head offered in N. Y., 214;
seeks to enlist Canadian Indians, 614;
Indians with, 660.
Allen, Ira, Ship Olive Branch, 214;
letters (1776), 227;
on the evacuation of Ticonderoga, 350.
Allen, James, poem on the Boston Massacre, 88.
Allen, James (Philad., 1777), diary, 260, 436.
Allen, Jolley, 205.
Allen, Paul, Amer. Rev., 664.
Allen, Wm., Arnold's Expedition, 1775, 217.
Allen, William, Jr., 395.
Allenstown, N. J., 410.
"Alliance", ship, 576, 577, 584, 586.
Allyn, Chas., 562.
Almon, Seat of War in N. Y., etc., 416.
Almon's Remembrancer, important documents in, 653.
Alsop, John, 108.
map of, 342.
American and British Chronicle of War, 672.
American Revolution, causes of, 5, 62;
ecclesiasticism as a cause, 62;
authorities on the causes, 62, 255;
earliest outbreaks, 173.
See names of heroes and battles of the war.
Ames, Nathaniel, Astron. diary, 82;
Almanac, 118.
Amherst, Gen., and the Pontiac conspiracy, 692.
Amory, T. C., Old and New Cambridge, 142;
defends Gen. Sullivan, 598;
Gen. Sullivan, 666;
papers on Sullivan, 667;
James Sullivan, 83.
Analectic Magazine, 187.
Anayea, 669.
Anburey, Thomas, Travels, 360.
Anderson, Col. Robt., 677.
Anderson, W. J., 216.
André, Maj. John, at Boston, 204;
in Philadelphia, 395;
in the Mischianza, 436;
his letters to Mrs. Arnold, 449;
as "John Anderson", 449;
profile likeness, 452;
one by Reynolds, 454;
Adj.-General, 453;
his instructions from Clinton, 454;
on the "Vulture", 454;
lands at the Clove, 454;
meets Arnold, 454;
goes to Smith's house, 455;
receives papers from Arnold, 455;
disguises himself, 456;
goes by land towards New York, 456;
captured, 457;
papers found on him, 457;
their history, 457;
carried to Jameson, 458;
writes a letter to Washington, 458;
at West Point, 460;
confined at Tappan, 460;
before a military board, 460;
condemned, 460;
proceedings of the board printed, 460;
various editions, 460;
Clinton endeavors to save him, 461;
requests to be shot, 461;
his conduct, 461;
his sketches, 461;
hanged, 461;
his remains taken to England, 461;
his statement, 461;
his monument, 463;
his mother pensioned, 463;
Life by W. Sargent, 464;
Papers on, ed. by Dawson, 464;
captured at St. John, 464;
a prisoner, 464;
served with Gen. Grey, 464;
his lineage, 464;
his will, 464;
bibliography, 464;
various papers on, 464;
his captors honored, 466;
their patriotism questioned, 466;
his confinement, 466;
justice of his execution, 322, 467;
his character, 467;
his last hours, 467;
Case of Maj. André, 467;
was he a spy at Charleston? (1780), 468;
his Cow Chace, 560;
tragedy of, 560.
André, Mémoire de Paul Jones, 590.
Andrews, John, letters from Boston, 90, 178, 205.
Annapolis, Md., Washington at, 747.
Annual Register, 516.
Antell, E., his plan of siege of Quebec, 226;
express from Quebec, 222.
Anthony, H. B., on Ternay's tomb, 499;
address on Greene, 510.
Anthony's Nose (Hudson River), 324.
Appleton, W. S., 110.
Appletown, N. Y., 669.
Appoquinimink Creek, 421.
Apthorpe, Considerations on the conduct, etc., 70;
Review, 70.
Arbuthnot, Admiral Mariot, attacks Charlestown, S. C., 472, 526, 527;
blockades Newport, 560;
controversy with Clinton, 517;
succeeded Graves, 517.
Armand, Col., 533;
with Gates, 477.
Armstrong, Gen., on Burgoyne's campaign, 358;
on Germantown, 421;
Newburgh addresses, 745.
Armstrong, J., Richard Montgomery, 216.
Armstrong, John, Life of Wayne, 514.
Armstrong, M., 209.
Armstrong commands the Penna. militia, 381.
Arnell, Dr., Address, 662.
Arnold, Benedict, in Cambridge (1775), 128;
shares command with Allen at Ticonderoga, 129;
surprised St. John's (1775), 130;
trouble with Ethan Allen, 130;
at Ticonderoga, 161;
commences Kennebec expedition, 162;
before Quebec, 163;
wounded, 165;
his post at Cedar Rapids attacked, 166;
interest in Gen. Warren's children, 194;
commissioned by Mass. to take Ticonderoga, 213;
Dawson's view of his connection with Ticonderoga, 214;
his regimental book, 214;
letters, 214;
part in the Canada expedition, 216;
instructions for the Kennebec route, 217 (see Kennebec expedition);
his journal, 218;
intercepted, 222;
portraits, 223;
autog., 223;
letters during the retreat, 226;
in command on Lake Champlain, 292, 346;
at Valcour's Island, 292;
escapes, 293;
joins Schuyler, 298;
advances toward Fort Stanwix, 300, 350, 632;
under Gates, 304;
at Freeman's Farm, 305;
quarrel with Gates, 306;
in fight of Oct. 7, 1777, 308;
was he at Freeman's Farm? 315, 357;
wounded (Oct. 7, 1777), 357;
at Trenton, 379;
marries, 402;
did he suggest the attack on Trenton? 407;
his treason, 447;
the beginning of his treasonable correspondence, 447, 448;
his birthplace, 448;
his house, 448;
his marriage, 449;
as "Gustavus", 449;
gives Clinton information, 449;
not trusted by Congress, 450;
at Danbury, 450;
made major-general, 450;
fac-simile of his commission, 450;
his wife at Robinson house, 458;
in command in Philad., 367, 400, 402, 450, 451;
charges against him by the Council of Penna., 450;
his accounts of the Canada expedition questioned, 450;
reprimanded by Washington, 403, 451;
at the Robinson house, 452;
his treasonable letters preserved, 452;
efforts to meet André, 453;
his passes, 453;
meets André, 454;
receives Jameson's letter, 458;
his flight, 458;
his aides grow suspicious, 460;
attempts to intercept him, 460;
sends letter to Washington, 460;
his aides, 460;
has plans of West Point, 460;
threats if André is executed, 461;
his life in England, 463;
in New Brunswick, 463;
his descendants, 463;
his address of exculpation, 463;
his proclamation to induce desertion, 463;
his vindication in Remarks on Travels of Chastellux, 463;
authorities on his treason, 463;
Life by Sparks, 464;
Life by I. N. Arnold, 464;
his own telling of the story, 466;
attempt to seize him, 468;
distrusted by Clinton, 546;
invades Connecticut, 562;
had Indians with him on the Kennebec exped., 614;
his treason and the northern invasions, 672;
his capture attempted, 732.
Arnold, S. G., in the Rhode Island campaign, 595.
Arnold, Isaac N., on Benedict Arnold at Freeman's Farm, 357;
"Arnold at the court of George III", 463;
Life of Benedict Arnold, 464;
his family, 464;
controverted by J. A. Stevens, 464;
his death, 464.
Asgill, Capt. Chas., case of, 744;
portrait, 745.
Ashe, Gen., 470;
at Briar Creek, 520;
his career, 520.
Ashley, John, 63.
Assanpink Creek, 375.
Atkinson, Newark, 560.
Atlas Amériquaine, 341.
Atlee, Col. S. J., 327.
Attenbocum, Capt., 411.
Attucks, Crispus, 85.
Atwill, Winthrop, Treason of Arnold, 466.
Aubry, Gov., at N. Orleans, 701.
Auchmuty, Judge, 119.
Auckland MSS., 467.
"Augusta", frigate, blown up, 387, 428;
picture of, 388.
Augusta, Georgia, its defences, 490;
Austin, Jonathan Loring, carries news of Burgoyne's surrender to Europe, 364, 571;
journals of his trip, 586.
Austin, Jona. W., 88.
Avery, Joseph, 521.
Avery, Rufus, 562.
Avery, Samuel, 662.
Babson, Gloucester, 568.
Bacon, Leonard W., on the invasion of Conn., 557;
address on Groton Heights, 562.
Badeaux, J. B., Invasion du Canada, 223.
Bailey, J. T., Brooklyn, 329.
Baker, W. S., American Engravers, 81, 185;
William Sharp, 492.
Balcarras, Earl, 366;
with Burgoyne, 294.
Balch, Thomas, 101;
Maryland Line, 202;
edits Blanchard's Journal, 554;
Les français en Amérique, 560.
Baldwin, C. C., on Vigo and G. R. Clark, 725.
Baldwin, Loammi, 187.
Baldwin, Samuel, Diary, 525.
Balfour, Capt., 118.
Balfour, Col., commands in Charleston, 517, 538, 541.
Ballston, N. Y., destroyed, 645.
Baltimore, Lord, 673.
Bancroft, Col. E., 189.
Bancroft, Geo., on the navigation acts, 64;
on the siege of Boston, 173;
his account of the Long Island battle criticised, 330;
on Arnold's treason, 464;
on Oriskany, 665;
on Wyoming, 665.
Bangs, Lieut., 326.
Banker, Gerard, 409.
Banks, James, Hist. Address, 676.
Barber, Col. Francis, 668;
order-book, 670.
Barber, Geo. C., 670.
Barber, J. W., Hist Coll. N. Y., 666.
Barber, New Haven, 185.
Barclay, S., Personal Recollections, 329.
Barlow, Aaron, 216.
Barlow, Joel, on Thomas Paine, 253;
life by Burr, 253.
Barlow, S. L. M., owns Arnold's journal, 218.
Barnard, Hist. England, 461.
Barney, Joshua, Com. Acc. of, 575;
autog., 575.
Barney, Mary, Com. Joshua Barney, 575.
Barras, autog., 500;
succeeds Ternay, 499.
Barré, Isaac, accounts of, 72;
his speeches on the Stamp Act, 29, 72;
originates the phrase "Sons of Liberty", 72;
his portrait ordered by Boston, 74;
predicts loss of colonies, 85.
Barren Hill, Lafayette at, 396, 442;
map, 443.
Barrett, Col., 124.
Barrette, Lieut., 545.
Barretts, Samuel, 109.
Barrow, Sir John, Lord Howe, 594.
Barry, Henry, Strictures Examined, 106.
Barry, Com. John, his autog., 581;
on the "Raleigh", 581;
accounts of, 581;
in the "America", 583.
Bartlet, W. S., Frontier Missionary, 657.
Bartlett, Josiah, 186; on Bunker Hill, 194;
autog., 263;
life of, 265;
on privateering, 591.
Bartlett, J. R., Hist. of destruction of the Gaspee, 90;
dies, 90;
account of, by Gammell, 90.
Bartlett, S. C., on Bennington, 356.
Barton, Col., place of capturing Gen. Prescott, 602;
the capture, 403;
accounts of, 404;
his diary, 643.
Baton Rouge, 739.
Battle, K. P., 519.
Baum, Colonel, at Bennington, 300, 354;
death of, 356;
his instructions, 366.
Bauman, Sebastian, map of Yorktown, 551.
Baurmeister, Major, 333.
Bayley, Col., and the Indians, 614.
Bayley, Col. J., at Lake George, 346.
Beach, Allen C., Centennial Celebrations, 308.
Beach, W. W., Indian Miscellany, 657.
Beaman on Ticonderoga, 214.
Bean, T. W., Washington at Valley Forge, 416, 439.
Beardsley, Life of W. S. Johnson, 85.
Bears, Isaac, 178.
Beatson, Robert, Naval and Mil. Memoirs, 518, 589.
Beatty, Erkuries, 667;
his journal, 671.
Beatty, Capt. William, 418.
Beaulieu, Georgia, 470.
Beaurain, Carte de la Guerre, 416;
map of Boston and harbor, 213.
Becket, publishes Authentic Papers from America, 100.
Beckford, Alderman, 83.
Beckwith, H. W., Historic Notes, 718;
on Vigo, 725.
Bedell, Col. Timothy, 216;
at the Cedars, 616.
Bedford, Col. Gunning, 327.
Bedford, Duke of, 21.
Bedford (Long Island), 328.
Bedford (Mass.) men at Lexington, 184;
their flag, 184.
Bedford, Pa., taken, 691.
Beers, Nathan, 464.
Belisle, Independence Hall, 259.
Belknap, Dr. Jeremy, note-books, 189;
diary, 202;
life, 202.
Belknap, Jeremy, uncle of historian, 85.
Belknap, Jos., 85.
Bell, Andrew, 445.
Bell, Charles H., on the privateer "Gen. Sullivan", 591.
Bell, Robt., publishes Paine's Common Sense, 269.
Bellefeuille, Mr., 729.
Bellomont, Lord, 564.
Bellows, Col., 350.
Bemis Heights, Gates occupies, 304;
battle, 356.
See Saratoga.
Benedict, E. C., Battle of Harlem, 334.
Bennett, C. P., 545.
Bennington, Vt., authorities on the battle, 354;
loss at, 354;
Indians at, 627;
fight at, 300;
maps of the fight, 356.
Benson, Egbert, Vindication of the Captors of André, 466.
Bentalou, Paul, Pulaski Vindicated, 522, 524;
Reply to Johnson, 522.
Benton, N. S., Herkimer County, 351, 657.
Berkeley, Bishop, his house in Rhode Island, 602.
Bernard, Edward, view of Bunker Hill, 198;
Hist. of England, 273.
Bernard, Francis, Gov. of Mass., 12, 22;
his letters sent back to Boston, 83;
Causes of the present distractions, 106;
Select letters, 106;
his rebukes of the legislature, 34;
on the seizure of the "Liberty", 43;
and the Stamp Act, 73;
replies to him by the legislature, 73;
made baronet, 49;
his Letters, 67;
Letters to Hillsborough, etc., 84;
Letters to the Ministry, 84;
instructed to enforce the navigation laws, 32;
Third extraordinary Budget of epistles, 84;
Copies of letters, 84;
enforces laws of trade, 84;
his character, 84.
Bernard, John, Retrospections of America, 407.
Berniere. See Bernière.
plan of Bunker Hill battle, 199, 202;
criticised, 202.
Berthelot, Amable, 216.
Besom, Capt. Philip, narrative, 592.
Bethlehem, Pa., Moravian Sisters, 524.
Bickerstaff's Boston Almanac, 86.
Bickham, George, 372.
Bicknell, Barrington, R. I., 203.
Biddle, Chas. J., defends the execution of André, 468.
Biddle, James, 74.
Biddle, Capt. Nicholas, in the "Andrea Doria", 570;
portrait, 570;
in the "Randolph", 571;
engages the "Yarmouth", 571.
Bigelow, Col. Timothy, orderly-books (1779, 1780), 359.
Big-Knives (Kentuckians), 722.
Bilbao, prizes taken to, 592.
Billingsport, N. J., 386, 425;
attacked, 387.
Billon, Annals of St. Louis, 737.
Bishop, Hist. Amer. Manufactures, 108.
Bishops, their introduction opposed in N. E., 243.
Bisset, George III, 223.
Bixby, Samuel, 203.
Blackbird, Pa., 421.
Blackstocks, affair at, 480, 536.
Blanchard, Claude, Journal, 554.
Blanchard, Col., Map of N. Hampshire, 217.
Bland, Col. Theodoric, commands Convention troops in Virginia, 321;
his papers, 321;
Bland Papers, 321.
Bland, Richard, Enquiry, 85.
Blaskowitz, Charles, plan of Frog's Neck, 337;
chart of Narragansett Bay, 593, 601;
map of Newport, 597.
Bleecker, Capt. Leonard, order-book, 670.
Bliss, E. F., 736.
Blood, Thaddeus, 178.
Bloodgood, Sexagenary, 358.
Blowers, Sampson S., autog., 51.
Blue Licks, battle at, 730.
Boardman, S. W., Privateer Cromwell, 592.
Boardman, Timothy, Log-book, 591.
Bollan, William, Coloniæ Anglicanæ illustratæ, 70;
transmits Gage's letters to Boston, 83.
Bolton, Dr. Thomas, 120.
Bond, Col., 227.
Bonner, map of Boston, 207.
Bonneville, picture of D'Estaing, 594.
Boone, Daniel, portrait, 707;
his adventures, 708;
his biographers, 708;
defends his fort (1778), 716.
Boonesborough, Ky., 715.
Border life, literature of, 248.
literature of, 248;
in the South, scant material for accounts of, 678.
Boston inflamed by the Grenville Act, 27;
arrival of troops (1766), 38;
threats to take her patriots to England for trial, 46;
troops sent to (1768), 43, 45;
(1769), 47;
Brazen Head, sign of, 47;
non-importation agreements, 49, 78;
Col. Dalrymple gets key of the Castle, 53;
Port Act meeting, 60;
affected by navigation laws, 64;
Observations of the merchants upon several Acts of Parliament, 64, 83;
Records, 67;
(1768) Revere's picture, 81;
convention to consider the coming of troops, 81;
agitation over the quartering of troops in Boston, 82;
Appeal to the world, 84;
petition to the king (1772), 89;
The American Alarm, 90;
the "Mohawks" and the tea-party, 91;
Votes and Proceedings respecting the tea-ships, 91;
warning broadside, 92;
accounts reach London, 92;
condition during the Port Bill, 95;
title of Port Bill Act, 95;
news arrives, 97;
broadside, 97;
records of this time in Boston City Hall, 95;
gifts to, 95;
effect of Port Bill, references, 96;
newspapers of 1775, 110;
blockade of, 113;
Gage shut up in, 114;
fortifies the Neck, 115;
Gage's force (Jan., 1775), 118;
meetings at the Green Dragon, 120;
maps of roads about, 120, 121;
after Lexington, families leaving the town, 125;
conditions of leaving, 128;
country Tories enter Boston, 128;
army besieging, 134;
British in, 134;
reinforcements under Burgoyne, Clinton, and Howe, 134;
Gates advises against an assault, 142;
want of provisions during the siege, 144;
contemporary views from Beacon Hill, 148-151;
British encampments on the Common, 149;
Howe advised by the ministry to abandon the town, 152;
the siege pressed, 152;
to be destroyed if necessary, 153;
plays acted, 153;
Boston Blockade, 153;
songs from, 154;
Tragedy of Zara, 155;
view of (1776), 157;
view of the Castle, 157;
the town evacuated, 158;
population, 158;
authorities on the siege, 172;
Washington proposed boat attack, 172;
Antique views, 185;
plan by Norman, 201;
siege of, 202;
account of the American camps, 202;
diaries, 202;
letters, 203;
orderly-books, 204;
the British camp, 204;
Newsletter printed, 204;
Liberty-tree cut down, 204;
houses occupied by British generals, 204;
British works, 204;
selectmen correspond with Gen. Thomas, 204;
diaries, letters, etc., during the siege, 204;
American prisoners in the town, 204;
Evacuation Memorial, 205;
property destroyed, 205;
Ward left in command, 205;
the Quakers of Philadelphia help the poor, 205;
fears of an attack, 205;
medal given to Washington to commemorate the siege, 206, 207;
maps of the siege, 207;
from Marshall's Washington, 206;
maps of the town of the Rev. period, 207, 209;
landmarks of the siege, 207;
English plans, 207;
that in Almon's Remembrancer, 208;
one in the library of Congress, 209, 210;
Pelham's map, 209;
Rawdon map, 209;
surveys of Wm. Page, 210;
map of lines on the Neck, 211;
Brown's house, 211;
Trumbull's plan of the Neck lines, 211;
plan indorsed by Mifflin, 212;
other plans, 212;
British plan of American lines, 212;
plan of Boston and vicinity, 212;
French maps of the siege, 212;
Latin map, 213;
German maps, 213;
feared Howe in 1777 was coming there, 416;
congress at, in 1780, 560;
Proceedings ed. by F. B. Hough, 560;
her privateers, 587;
fleets of Howe and Byron off the harbor (1778), 603;
D'Estaing in, 603;
riot in, 603;
fear of British advancing from Rhode Island, 603;
siege of, Indians employed, 613;
killing of sentries, 657;
"Boston", frigate, given to Captain Tucker, 566;
lost at Charleston, 583.
Boston Gazette, 110.
Boston harbor, forays in (1775), 131;
plans of, 202, 207, 209, 212, 213.
picture of, 47;
news of, in England, 52;
causes, 85;
authorities, 85;
Short Narrative, 85;
sent to England, 85;
Additional Observations, 85;
Letter to C. Lucas, 85;
other accounts, 85;
Kidder's Boston Massacre, 86;
Preston's trial, 86;
printed Report, 86;
Fair Account, 86;
did the soldiers fire before being assaulted? 88;
its effect in producing the Rev., 88;
its anniversary observed, 88;
ovations, 88;
commemorated (1775), 119;
burlesqued, 120.
Boston Neck (R. I.), 600.
Boston Port Bill, 58.
See Boston.
Botetourt, Gov., 46.
Boucher, Jona., Views of the Amer. Rev., 98.
Boudinot, Elias, Star in the West, 652.
Bounties offered to Indians, 674;
for scalps, 681.
Bouquet, Col. Henry, his portrait, 692;
his character, 692;
Hist. Acc. of Expedition, 651, 699;
marches to relieve Fort Pitt, 694;
fight at Bushy Run, 696;
map of his campaign, 696;
at Fort Pitt, 697;
marches into the Ohio Valley, 698;
returns, 699;
dies, 699;
captives retaken by him, 699;
West's picture of them, 699;
West's picture of his Council with the Indians, 694;
Bourgoin, Thèâtre de la Guerre, 416.
Bowdoin, James, 128;
in Congress (1774), 59;
taking the lead, 83;
his autog., 83;
his character, 83;
Letter to Hillsborough, 84;
on the desire for independence, 255.
Bowen, Ephraim, on the destruction of the "Gaspee", 90.
Bowen, Francis, his Otis, 70;
Benj. Lincoln, 513;
Steuben, 515.
Bowen, J. S., on Brandywine, 419.
Bowen, Nathan, 318.
Bowman, Capt. Joseph, 718.
Bowman, Capt. Josiah, 682.
Bowman, Major, fighting the Shawanese, 730.
Bowring, Jeremy Bentham, 95.
Bowyer, Adj., on Waxhaws, 527.
Boyd, Lieut. Thomas, 640, 671.
Boyle, Marylanders, 227.
Boylston, E. D., Hillsborough County Congress, 108.
Boynton, Edw. C., West Point, 464.
Boynton, Thomas, 188.
Brackenborough, Judge, life of Braxton, 265.
Brackenridge, H. H., drama on Bunker Hill, 198;
Death of Montgomery, 216;
on the Monmouth field, 446.
Brackenridge, H. M., Views of Louisiana, 652.
Brackinridge, H., on the Indians, 736.
Bradford, Alden, Jonathan Mayhew, 71;
edits Mass. State Papers, 73;
Bunker Hill, 191;
life of R. T. Paine, 265.
Bradford, Job, 187.
Bradford Club, 219.
Bradford's Collection, 73.
Bradstreet, Col., goes up the lakes (1764), 698;
at Detroit, 698;
orderly-book, 698.
Brainerd, W. F., 562.
Brandywine, battle of, 381;
map of battle, 414;
view of the field, 419;
Galloway's plan of, 415;
sources, 418;
Washington's map of the campaign, 420, 421;
Hessian map, 422;
Brant, Joseph, at Montreal, 619;
made Guy Johnson's secretary, 623;
autograph, 625;
his early life, 625;
invades New York (1777), 626;
at siege of Fort Stanwix, 299, 628, 661;
to operate in New York (1778), 633;
his ravages, 633;
burns Andrustown, 636;
attacks German Flats, 636;
denied responsibility for massacre at Cherry Valley, 638;
accounts of, 657;
descendants, 657;
letters, 657;
meets Herkimer, 627;
attacks the Minisink settlements, 639;
his report, 672;
at Canajoharie, 644;
not at Wyoming, 663.
Brashear, Lieut., 729.
Brassier, Wm., surveyed Lake Champlain, 347.
Brattle, Gen., his letter to Gage in fac-simile, 98.
Braxton, Carter, life, 265;
autog., 266;
Address to the Convention, 272.
Breechloaders used at Brandywine, 419.
Brehm, Capt., 738.
Brent, Archbishop Carroll, 229.
Brevoort, J. C., has some of Paul Jones's papers, 590.
Breyman, Col., at Bennington, 300, 354.
Briar Creek, 520.
Bridgdens, of Boston, 47.
Bridgetown, Pa., 421.
Briggs, C. A., American Presbyterianism, 244.
Bristol (R. I.), 600.
British army, brutality of, 372.
British Constitution, spirit of, 5.
British regiments, historical records of, 198.
Brock, R. A., on the Nelson house, 506.
Brodhead, Col., attacks the Indians of the Alleghany, 642, 671;
his route, 642;
at Fort Pitt, 731;
acc. of his exped., 653.
Bromfield, John, 187.
Bronson, J., 464.
Bronx River, 337.
Brookline, Mass., fort at, 206, 210;
view of, 150.
battle of, 277;
risks of the British, 290;
accounts of, 344;
roads of approach, 277;
British plans, 278.
See Long Island.
Brooklyn Heights, 275;
defences of, 275.
Brooks, Chas., Medford, ed. by Usher, 202.
Brooks, Erastus, 665;
on Indian history, 681.
Brooks, Col. John, at Bemis's Heights, 357;
on Valley Forge, 436;
on Monmouth, 446;
autog., 136;
portrait, 202;
on Bunker Hill plans, 202.
Brooks, N. C., on the Burgoyne campaign, 361.
Broom, J., surveyor, 421.
Brotherhead, Signers, 259.
Broughton, Capt. Nicholas, 565.
Brown, Capt. Abraham, 130.
Brown, Dr. Buckminster, 194.
Brown, Dr. Geo., 187.
Brown, H. A., Oration on the Congress of 1774, 99;
Mem. and Orations, 439;
on Monmouth, 446.
Brown, H. K., statue of Gen. Greene, 510.
Brown, Col. John, and Ticonderoga, 213;
killed at Stone Arabia, 644;
in Canada, 161, 613, 615, 674;
his letters from Canada, 215.
Brown, Mrs. J. B., Stories of Warren, 194.
Brown, J. M., Schoharie County, 660.
Brown, Peter, 187.
Brown, Dr. Samuel, 710.
Brown, Thomas, 203.
Brunswick (N. C.), 542.
Brush, Crean, 205.
Bryan, Alexander, Gates's scout (1777), 358.
Bryan, Geo., 401.
Brymner, Douglas, 693;
edits Haldimand calendar, 653;
Report on Canadian Archives, 733.
Buchanan, James, No. American Indians, 651;
on removing André's remains, 461.
Buck, W. J., Washington on the Neshaminy, 418.
Buck Island, 661.
Buckingham, J. T., Specimens of newspaper lit., 110.
Buffalo, N. Y., history of, 648.
Buffenton's Ford, 418.
Buford, Col., defeated at Waxhaws, 475, 527.
Bugbee, J. M., Centennial of Bunker Hill, 172.
Bull, Col., 679.
Bull, Gen., 519.
Bull, surveys of Georgia, 538.
Bullard, E. F., address, 366.
Bullock, Alex. H., on the Constitution of Mass., 274.
Bull's Ferry, affair at, 560.
Bunker Hill, occupied, 135;
order for it, 135;
battle of, 136;
forces engaged, 140;
Howe criticised, 140;
losses, 140;
news of it spread, 140;
authorities, 184;
earliest accounts, 186;
contemporary letters, diaries, and orderly-books, 187, 188;
losses of property at Charlestown, 187;
depositions of survivors, 189;
early historians, 189;
who commanded? 190;
officers engaged, 191;
monument, 194;
anniversary discourses, 194;
British accounts, 194;
letters, 194;
fac-simile of the Tory broadside account, 196;
Rawdon drawing of the battle, 197;
other pictures, 197;
general histories, 198;
ballads, 198;
dramas, 198;
British plan of the battle, 199;
America invincible, 200;
novels and poems, 200;
plan from the Impartial History, 201;
plan of the redoubt, 212;
of the works built by the British, 212.
Burch, 39.
Burdge, Franklin, 270.
Burgoyne, Gen. John, writes Gage's proclamations, 131;
correspondence with Chas. Lee, 144;
his opinion, 1775, on subduing the colonies, 145;
feared the occupation of Dorchester Heights, 156;
reaches Quebec (1776), 167, 225;
follows Sullivan, 167;
on Bunker Hill, 195;
life by Fonblanque, 195;
autog., 292;
suggests the use of mercenaries, 293;
his army, 294;
his character, 294;
orders from Germain, 295;
at St. Johns, 295;
his bombastic proclamation, 295;
at Crown Point, 296;
at Ticonderoga, 299;
refused troops by Carleton, 299;
at Fort Edward, 299;
losses at Stanwix and Bennington, 301;
moved towards Saratoga, 304;
at Freeman's Farm, 305;
awaits succor from Clinton, 307;
makes reconnoissance (Oct. 7), 307;
his losses, 309;
retreats to Saratoga, 309;
surrounded, 309;
sends flag of truce, 309;
fac-simile of letter to Gates about the British wounded, 310;
at Gates's headquarters, 310;
his losses in the campaign, 311;
his army marched to Boston, 311, 318;
the plan of his campaign criticised, 312;
his difficulties of supply, 313;
his slow movements, 313;
authorities on his campaign, 315;
charges against Henley, 318;
examination of the observance of the convention, 318;
breaks the provisions of the convention, 318;
neither side scrupulous, 319;
flags concealed, 319;
plan for the campaign of 1777, 348;
preparations, 348;
issues a proclamation, 349;
reprints, 349;
burlesqued, 349;
maps of the entire campaign, 349;
captures Ticonderoga, 349;
Hubbardton, 350;
proclamation, 350;
Campaign of, by W. L. Stone, 351;
worsted at Bennington, 354;
instructions to Baum, 354;
his report to Germain, 354;
discouraged, 356;
Freeman's Farm, 356;
battle of Oct. 7, 357;
surrenders, 358;
view of field, 358;
view of camp, 358;
his letter to Germain, 358;
strength of his army, 358;
authorities on the campaign in general, 358, 360, 361;
orderly-books and journals, 359, 360;
his own orders, 359;
life by De Fonblanque, 361;
maps of the final battles, 361;
fac-simile of map in Analectic Mag., 362;
view of the field of surrender, 361;
signatures of the convention, 361;
Gates's headquarters, 361;
landmarks of the campaign, 361;
effects of the surrender in Europe, 364;
sails for England, 364;
in Parliament, 364;
his birth, 364;
satires upon, 364;
his defences in Parliament, 365;
Substance of Speeches, 365;
John Wilkes' comments, 365;
resigns his commission, 365;
Letter to his Constituents, 365;
Reply, 365;
Letter to Burgoyne, 366;
A brief examination, 366;
Enquiry into the conduct of Burgoyne, 366;
Supplement to the State of the Expedition, 366;
attacked in Remarks, 366;
Letter to Lieut.-Gen. Burgoyne, 366;
reply by Rev. Sam. Peters, 366;
Essay on modern martyrs, 366;
his State of the Expedition, 366;
his documents laid before Parliament, 366;
documents in the War Office, 366;
his speech to the Indians, 366;
his letter from Albany, 366;
councils of war, 366;
exchanged, 366;
news of his surrender sent to Europe by Massachusetts, 571, 586;
his opinion of the use of Indians, 621, 627;
charged with buying scalps, 683;
Washington visits the scene of his campaign, 746.
Burk, John, Virginia, 515.
Burke, Ardanus, Address, 527.
Burke, Edmund, 31;
his first speech, 32;
in Parliament (1770), 52;
European Settlements, 64;
on the debates of 1765, 72;
Observations on Tickle's tract, 85;
Thoughts on the Causes of the present Discontents, 88;
on the Quebec Bill, 102;
on American taxation, 112;
his Works, 112;
speeches on conciliation, 112;
conversation with North, 112;
his character, 112;
lives of, 112;
as a speaker, 112;
on Bunker Hill, 195;
ridicules Burgoyne's proclamations, 295;
in the Annual Register, 687.
Burke, J. W., 258.
Burr, Aaron, on the Kennebec exped., 162;
as a soldier, 163;
in the assault on Quebec, 165;
his house in N. York, 276.
his diary, 346.
Bury, Viscount, Exodus of the Western Nations, 232.
Bushnell, C. I., Crumbs for Antiquarians, 202, 219.
Bushnell, David, invents the "American Turtle", 567.
Bushy Run, battle of, 694;
losses, 669;
plan, 692;
described by Burke, 697;
by Wm. Smith, 697.
Bute, Earl of, 21;
his ministry, 23.
Butler, James D., on Bennington, 356.
Butler, Col. John, at Niagara (Sept., 1776), 626;
to invade the Susquehanna country (1778), 633;
his report, 664.
Butler, Mann, 718.
Butler, Col. Richard, at Monmouth, 446;
Diary of Yorktown, 554.
Butler, Walter N., at Cherry Valley, 636, 665;
on the Mohawk (1781), 646;
killed, 646.
Butler, Col. Wm., 346;
burns Oquaga, 636;
route of, in 1778, 681.
Butler, Zebulon, report on Wyoming, 634, 664;
acc. of, 664;
and the Tuscaroras, 619;
escapes, 635.
Butler's Rangers, 661;
their badge, 631.
Butterfield, C. W., edits Leith's Narrative, 682;
Washington-Crawford letters, 714;
Exped. against Sandusky, 737;
Washington-Irvine Corresp., 737.
Butt's Hill (R. I.), 602.
Byron, Admiral, on the American coast, 580;
off Boston harbor, 603.
Cadwalader, Col. Lambert, 288, 341;
at Fort Washington, 338;
and Gen. Prescott, 403.
Cahokia, 730;
Indian council at, 719;
surrenders, 722;
Caldwell, Charles, Life of Gen. Greene, 510.
Caldwell, David, his life, 514.
Caldwell, Col. Henry, 222.
Caldwell on Ticonderoga, 214.
Calef, John, Siege of Penobscot, 604.
Callendar, George, 209.
Calvé, 739.
Calvert, Geo. H., play on André, 464.
Cambell, David, 535.
Cambridge (Mass.) fortified (1775), 130;
Holmes House, 135;
Tory Row, 142;
Vassall or Craigie House, 142;
Brattle House, 142;
Riedesel House, 142;
Oliver House, 142;
Bishop's Palace, 142;
Christ Church, 142;
Centennial Memorial, 142;
Washington Elm, 142;
councils of war in, 142;
accounts of the camp, 202, 203;
letters from the camp, 203;
orderly-books, 204; works at, 206;
legislature at (1769), 47;
men at Lexington, 184;
Camden, Lord, on the Decl. of Indep., 269;
Camden (Carolina), campaign of, 514;
battle of (Gates), 477, 478, 529;
and the militia, 478;
number of forces, 529;
losses, 530;
Faden's plan, 531;
other plans, 531;
Senff's plan, 533.
For the second battle at, see Hobkirk's Hill.
Campbell, Archibald, map of Georgia, 675;
at Savannah, 469.
Campbell, Brigadier, at Pensacola, 739, 740.
Campbell, Col. Arthur, of Virginia, 677;
raid on the Indians, 680.
Campbell, C., edits Lewis's Order-book, 168;
edits Bland Papers, 321.
Campbell, C. A., on the Robinson House, 452;
on the Odell House, 561.
Campbell, Donald, succeeds to the command before Quebec, 165;
despatch about the siege of Quebec, 221.
Campbell, Douglass, on Cherry Valley, 666;
on the Iroquois and N. Y.'s Indian policy, 681.
Campbell, J. W., Biog. Sketches, 219.
Campbell, Robert, on King's Mountain, 535.
Campbell, Thomas, his letter to Brant, 663;
Gertrude of Wyoming, 665.
Campbell, Col. Wm., 478;
on King's Mountain, 535.
Campbell, W. W., on Gen. James Clinton, 659, 670;
Tryon County or Border Warfare, 351, 659;
Border Warfare, 655;
on Indians in the Rev. War, 655;
on Cherry Valley, 666.
Campbell, Life of Loughborough, 112.
Campfield, Jabez, diary, 668.
Canada, campaign in (1775-1776), 162;
Schuyler in command, 215;
address of Congress to the inhabitants, 215;
maps of the campaign, 215;
maps of the region, 216;
Arnold's share in it (see Kennebec expedition, Quebec);
retreat from Canada, 226;
local aspects, 227;
commissioners of Congress in, 227;
their instructions, 227;
new commissioners sent, 227;
D'Estaing's proclamation to the inhabitants, 603;
Franklin's advocacy of its retention by England (1763), 686;
Indians of, visited by Maj. Brown, 613;
sought by Ethan Allen, 614;
invasion from, threatened, 615;
messengers sent to, by Adams and Warren, 119.
Canadea, N. Y., 669.
Canajoharie Castle, 608;
destroyed, 644.
Canandaigua, 669.
Caner, Henry, Candid Examination, 70.
Canot, P., 331.
Cantwell's Bridge, 421.
Cape Fear River, 485;
map, 542.
Cardinal, Nic., 726.
Carleton, General Guy, refuses troops to Burgoyne, 299;
opposes the use of Indians, 613, 618, 655;
thought to be intending an invasion, 615;
charged with coercing the Indians to take sides, 615;
uses them for defence, 618, 621;
instructed by Germain (1777), 348;
disappointed in not conducting the campaign (1777), 348;
his commissions, 653, 654, 673;
his orders (1776-1777), 359;
correspondence from Quebec, 222;
at Crown Point, 293;
reaches Quebec (1776), 164;
portrait, 164;
autog., 164;
arrives in N. Y. (1782), 745.
Carlisle, Pa., taken, 691.
Carmichael-Smyth, Sir James, Précis of the War in Canada, 223.
Carolinas, map of, by Henry Monson, 675.
Carpenter, J. C., 227.
Carr, Dabney, 56.
Carr, Lucien, on women's rights among the Indians, 607.
Carrington, Gen. H. B., Boston and New York, 173;
plan of Bunker Hill, 189, 202;
Strategic relations of New Jersey, 413;
on Lafayette in Virginia, 547.
Carroll, Chas., autog., 227, 265;
letters from Canada, 229;
last survivor of the signers of the Decl. of Indep., 264;
his Journal, 227;
references, 227;
his wealth, 227;
his house, 227;
medal, 227;
portrait, 227;
life, 266.
Carroll, John, in Canada, 166, 227.
Carter, William, Genuine Detail, 195.
Carter's Valley, 678.
Cartwright, John, 244.
Caruthers, E. W., Interesting Rev. Incidents, 514, 539;
Life of David Caldwell, 81, 514.
Carver, Jonathan, map of province of Quebec, 226.
Cary, Archibald, 259.
Case of Great Britain and America, 85.
Castiglione, Viaggio, 529.
Castine, 604;
British at (1779), 603.
Castle William (Boston), view, 157;
blown up, 158.
Castleton, Vt., 297;
Burgoyne's orders to people of, 359.
Caswell and the North Carolina militia, 476.
Catawba Indians, 611;
friendly to the Americans, 620.
Catawba River, 475.
Catharine's town, N. Y., 669.
at Montreal, 624;
offer aid, 673.
Caulkins, F. M., New London, 591.
Cavendish, Lady Georgiana, Admiral Gambier, 230, 326, 436.
Cavendish Debates, 102.
Caverley, A. M., Pittsford, Vt., 355.
Cayugas, their country, 609.
Caziare, Lieut., his surveys of Yorktown, 553.
Cedars, affair at, 166, 225, 616;
Authentic Narrative, 225.
Ceracchi, bust of Hamilton, 384.
Chadwick, J. W., 331.
Chalmers, Geo., Polit. Annals, 64;
Revolt of the Colonies, 64, 232, 255;
Opinions of Eminent Lawyers, 255;
Plain Truth, 270;
on the growth of Amer. independence, 232.
Chamberlain, Mellen, "The Revolution impending", 1;
edits Dearborn's journal, 219, 360;
his John Adams, 261;
Authentication of the Decl. of Indep., 269.
Chambers, Col., Chambersburg, 327.
Chambers, John, 219.
Chamblée on the Sorel, 215;
Sullivan at, 167;
fort captured, 162;
its colors in Philad., 162.
Champe, Sergeant, and Arnold, 468;
Champe's Adventures, 468.
Champlain, Lake, armed vessels on (1776), 346;
Arnold on, 346;
surveyed by Brassier, 347;
maps, 348.
Champney, L. W., "Memories of New London", 562.
Chandler Ford, Pa., 421.
Chandler, P. W., Amer. Criminal Trials, 86, 463.
Chandler, Thomas B., his controversy with Chauncey, 71;
What think ye of Congress now? 101;
Strictures examined, 106.
Channing, Edw., "War in the Southern Dept.", 469.
Channing, Wm. H., edits J. H. Perkins' Memoirs, 648.
Chapin, C. W. E., 650.
Wyoming, 664.
Chapman, T. J., on the siege of Fort Pitt, 697;
on C. F. Post, 736.
Charleston, S. C., view, 171;
(1776), 229;
(1777), 471;
defences (1776), 169;
news of Lexington in, 178;
capitulation at, 322;
evacuated, 507;
attacked by Prevost, 520;
Address to Clinton, 527;
tea-ships at, 57;
forces engaged, 525;
losses, 525;
American prisoners at, 534;
plan of, 538;
repossessed, 546;
ships taken at (1780), 582, 583.
Charlestown, Mass., views of, 197;
plan of, 198, 201, 202, 206, 210;
survey of, 200;
works made by the British (1775-1776), 202;
deserted, 138;
burned, 138.
Charters amended or revoked by the crown, 3;
Franklin's opinion, 3.
Chartres, Fort, surrendered, 705;
acc. of, 706;
abandoned, 720.
See Fort.
Chase, Samuel, in Canada, 166, 227;
autog., 265;
life, 266;
letters, 341.
Chase, Thomas, Sketches of Paul Jones, 590.
Chastellux, autog., 500;
on Cowpens, 538;
Remarks on his Travels, 463, 560;
sails from Baltimore, 745.
Chatham resigned, 46;
common popular portrait, 109;
portrait for R. H. Lee, 110;
Hoare's picture of, 110;
bust by Wilton, 110;
statue at Charleston, 110;
medals, 110;
lives of, 112;
his speeches, 112;
his speeches against using Indians, 617, 621.
Chatterton's Hill, 286.
Chaudiere River, 224.
Chauncey, Chas., his autog., 71;
controversy with Chandler, 71;
Discourse on Mayhew, 71;
sermon, the Stamp Act repeal, 74;
on the Penobscot exped., 603;
Chauvignerie, report on the Indians, 652.
Cheever, David, 187.
Chemung, 669;
ambuscade at, 681;
destroyed, 639.
Cheney, J. V., 138.
Cheraws, camp at, 483.
Cherokees, 611;
their territory, 610;
ready to fight, 620;
map of campaign against, 675;
country invaded, 676;
their houses, 678.
Cherry Valley, 609;
accounts of massacre, 665;
fortified (1778), 636.
Chesapeake Bay, charts of, 548;
French map, 553;
map of entrance, 550.
Chesney, Alex., acc. of war in So. Carolina, 535.
Chesney, Col., Essays in modern military biography, 536.
Chester, John, 187.
Chester, J. L., on André's lineage, 464.
Chester (Pa.), 429;
Chestnut Hill (Pa.), 425, 428;
skirmish at, 389.
Chevalier, M., La Marine Française, 598.
Chew, Benj., his house, 385, 426.
Chew, Joseph, 658.
Chickamaugas, 678.
Child, D. L., Inquiry into conduct of Gen. Putnam, 191.
Child, Sir Josiah, 63.
Chilicothe destroyed, 731.
Chipman, Life of Warner, 356.
Chittenden, L. E., Address, 214.
Choctaws, 611.
Choiseul, Duc de, 686;
sends a messenger to the English colonies, 244;
understood American affairs, 60;
watching the colonies, 16.
Choisy, autog., 500.
Chotteau, Léon, Les Français en Amérique, 463, 560.
Chouteau, Col. P., 705.
Christian, Col. Wm., 676, 679, 714.
Christiana Bridge (Pa.), 421;
creek, 381;
river, 421.
Church, Dr. Benj., his traitorous correspondence, 118, 145;
confined in Cambridge, 142;
Elegy on Dr. Mayhew, 71;
The Times, 73;
oration on Boston Massacre, 88.
Churchill, Amos, Hubbardton, 350.
Cincinnati Society, 746.
Circular letter of Mass., 42;
responses, 44.
Cist, Lewis J., 264.
Clap, Ensign, 203.
Clapham, Mrs., 47.
Clapp, Dorchester, 173.
Clarence, C. W., Ralph Farnham, 192.
Clark, Abraham, 407;
autog., 264;
life, 265.
Clark, Geo. Rogers, on the origin of the Dunmore war, 710;
on Cresap, 712;
his tour in Kentucky, 716;
sent to Va. Assembly, 716;
plans the conquest of the Northwest, 716;
made a colonel, 717;
raises troops, 717;
his own accounts of his Illinois campaign, 718;
his papers owned by L. C. Draper, 718;
his journal at Vincennes, 718;
his despatches captured, 718;
captures Kaskaskia, 719;
his youth, 723;
holds council with the Indians, 724;
marches to retake Vincennes, 725;
transactions with Vigo, 725;
on Hamilton, 682;
fac-simile of autog., 727;
captures stores, 728;
plans of capturing Detroit, 728;
builds Fort Jefferson, 730;
intercepted letters 730, 733;
estimate of him by Washington, 731;
fights Arnold in Va., 732;
made brig.-general, 732;
urged to capture B. Arnold in Va., 732;
disappears from Western history, 733;
on the Miami, 733;
discharged, 733;
social habits, 733;
in French service (1793), 733;
references, 734;
death, 734;
portrait, 734;
Clark, Henry, on Hubbardton, 350.
Clark, John, Battle fought 17th June, 195.
Clark, Joseph, 445.
Clark, Gen. J. S., map of the Newtown battle, 681;
on the Sullivan campaign (1779), 671.
Clark, Major, spy of Washington, 439.
Clark, Peter, on Bennington, 354.
Clark, Thomas, Naval Hist. of U. S., 589.
Claus, Col. Daniel, 247, 351, 661;
has charge of St. Leger's Indians, 628;
manuscript anecdotes of Brant, 663:
Cleveland, Col., and North Carolinians, 478.
Clinch Valley, 676.
Clinton, De Witt, life of Philip Livingston, 265.
Clinton, George, house in N. Y., 276;
memoir by W. L. Stone, 308;
opposes evacuation of N. Y., 333;
autog., 364.
Clinton, Sir Henry, at Bunker Hill, 138;
proclamations in S. Carolina, 229, 322, 513, 526;
attacks Fort Moultrie, 153, 170, 230;
in the battle of Brooklyn, 279;
attack on Forts Clinton and Montgomery, 306;
plan, 363;
despatches, 364;
in Philadelphia, 396;
succeeds Howe, 443;
on Monmouth, 446;
on the Southern campaign (1778), 520;
endeavors to save André, 461;
his MS. Hist. of the War, 467;
his accounts of Arnold and André, 467;
in the South, 469;
attacks Charlestown, S. C., 471, 526;
captures it, 474;
his report, 525;
deceived by Washington's seeming intention of attacking New York, 498, 501, 561;
Narrative, 516;
Observations on Cornwallis's Answer, 516;
his notes on the correspondence, 156;
controversy with Arbuthnot, 517;
Letter to Com. on Public Accounts, 517;
Observations on Stedman, 517;
Memorandum on plundering, 517;
forged despatch about siege of Charleston, 527;
his controversy with Cornwallis, 547;
orders him to occupy Old Point Comfort, 548;
ordered by Germain to continue the war in the South, 548;
seeks to succor Cornwallis, 549;
in New Jersey, 559;
on the revolt of the Penn. line, 561;
in Rhode Island (1776), 593;
(1778), 603;
sends naval force to Penobscot (1779), 603;
relieved by Carleton, 745.
Clinton, Gen. James, his expedition against the Indians, 638;
acc. of, 659;
in the Sullivan exped. (1779), 667, 670;
Revolutionary Relics, 457.
Clunes, John, 360.
Cluny, Alex., Amer. Traveller, 85.
Clymer, Geo., autog., 265;
life, 265.
Cobb, David, diary at Yorktown, 554.
Cobbett, Wm., 359.
Cobleskill, Brant at, 633;
confused accounts of, 633;
destroyed, 660.
Coburn, F. W., Bennington, 356.
Cockings, Geo., The American War, 197, 200.
Coffin, Chas., Bunker Hill, 189;
Mem. of Gen. Thomas, 167.
Coffin, C. C., Boscawen, 355;
on Bunker Hill, 190.
Coffin, Shubael, 33.
Cohoes, 609.
Colden, lieut.-gov. of New York, 30.
Coleman, C. W., on Greene, 537.
Coleman, E. C., on Simon Kenton, 708.
Colerain, Lord, 517 (see Hanger, Geo.), Life of Hanger, 517.
Coles, Edward, 258.
Collet, surveys of No. Carolina, 538.
Colleville, Vicomte de, Les missions secretes du Baron de Kalb, 244.
Collier, Sir Geo., 326;
in N. Y. harbor, 330;
relieves Penobscot, 582;
in the "Rainbow", 589.
Colman, R. F., 734.
Colonies, English, their independence of England, 232;
their relations to the crown, 3, 5.
Colonization, English idea of, 687.
Colucci, Giuseppe, Guerra per l'Independenza, 523.
Columbian Magazine, 510.
Combahee Ferry, 507.
Committees of correspondence, origin of, 89;
of correspondence, inspection, and safety, 90.
Conanicut Island, map of, 596, 600, 602.
Concord (Mass.), fight at, 124;
roads about, 121;
visited by Brown and Bernière, 119;
authorities on the fight, 175;
depositions, 175;
fac-simile of Col. James Barrett's, 177;
plan of, 180;
centennial celebration, 184;
histories, 184;
military stores at, 123;
Prov. Congress at, 120.
Cone, Mary, 729;
Rufus Putnam, 158.
Conestogoes, massacred by Paxton Boys, 606, 682;
their lands, 606.
"Confederacy", captured, 584.
Confederation of the United States (1776), 240, 274;
articles, 174;
debates on, 274;
Franklin's proposed plan, 654.
Congaree River, 475.
various plans at, 66;
Congress of 1774, proposed, 59, 60;
who originated?, 98;
sessions, 99;
legal aspects of, 99;
the delegates, how chosen 99;
feelings in N. Y. towards, 99;
Delaware members, 99;
Virginia members, 99;
tracts about, 99;
New England in, 99;
Sunday sessions opposed, 99;
Middle States in, 99;
Virginia in, 99;
Carolina in, 99;
its Journal, 100;
its device, 100;
copy owned by Thomas Cushing, 100;
The whole proceedings, 100;
Extracts from its Journal, 100;
documents in Force, 100;
notes of the debates, 100;
Declaration of Rights, 100;
Petition to the King, 100;
MS. copies in existence, 100;
printed copies, 100;
Address to the people of Great Britain, 100;
a Letter in response, 100;
Memorial to the Colonies, 100;
Suffolk Resolves, read, 100;
the approval of them drove out the loyalists, 101;
effect in England, 101;
Galloway's plan of adjustment, 101;
relations of loyalists, 101;
Articles of Association, 101;
fac-similes of signatures, 102;
address to inhabitants of Quebec, 104;
every step known in London, 104;
its views challenged in New York, 104;
the Seabury-Wilkins tracts on, 104;
letter to the king, 237;
declaration, 237.
Congress of 1775, 107;
Journal, 107;
different eds., 107;
debates, 107;
its Declaration, 108;
Address to the inhabitants of Great Britain, 108;
Address to Ireland, 108;
Address to New England, 108;
Petition to the King, 108, 255;
chooses Washington commander-in-chief, 108;
articles of confederation, 108;
approves the form of government adopted in Mass., 108;
articles for the government of the troops, 108;
plan for organizing militia, 108;
proceedings, secret, 108;
com. of secret correspondence, 108;
general references, 108;
lives of members, 108;
effect in England, 109;
Dr. Samuel Johnson's Taxation no Tyranny, 109;
tender of Canada, 160;
parties in, 255.
Congress, Continental, sends a commission to Canada, 166;
Declaration of Independence, 228 (see Declaration);
and independence, 231;
its character, 233;
New Hampshire in, 234;
Massachusetts in, 234;
Connecticut in, 234;
Pennsylvania in, 234;
leaves Philadelphia (1776), 373, 383;
its lessening character, 391;
distrust of Washington in, 391;
creates inspector-general, 556;
seeks to regulate prices, 556;
naval committee, 567;
appoints Hopkins commander-in-chief of navy, 568;
arranges the rank of captains, 570;
gives commissioners in Europe power to commission naval officers, 573;
authorizes privateers, 591;
Extracts from Journals on prizes and privateers, 591;
prize claims, 591;
and the use of Indians, 615, 616, 622, 632, 654;
creates Indian departments, 616;
addresses the Six Nations, 616;
plan of confederation, 616;
address to Ireland, 617.
Connecticut claims the credit of capturing Ticonderoga (1775), 160, 213;
claim to land in Pennsylvania, 605, 665, 680;
creates a navy, 565;
equips troops (1775), 122;
her seamen, 587;
invaded by Tryon, 557;
men at Bunker Hill, 189;
naval officers, 568;
organizes a militia, 116;
issues paper money, 116;
privateers, 591;
whale-boat warfare, 591;
Queries and Answers as to her commerce, 64;
retains her original charter, 274;
sends a message to Gage (1775), 128;
Mass. delegates in, 128;
Stamp Act in, 73;
troops in Long Island battle, 329;
trouble with the Mohawks, 605.
Connecticut Valley invaded (1780), 645.
Conner, Timothy, journal, 575.
Connolly, Dr. John, 709.
Connolly's arrest, 653.
Conover, Geo. S., edits journals of Sullivan expedition, 681;
Sayengueraghta, 663.
Conrad, R. T., edited Sanderson's Signers, 266.
Constitution Island in the Hudson, 323, 462, 465;
plan, 325.
Constitutional Society in London, 175.
Constitutions of the several United States, 268, 272.
Continental army reorganized, 437;
distresses of, 560;
number of men in, year by year, 588;
including militia, 588;
not paid, 745;
disbanded, 746.
Continental Congress. See Congress.
Continental navy, general accounts of, 589;
forming of, 567;
naval committee, 567;
names of first-built ships, 567;
officers commissioned in Europe, 573;
losses, 576;
force in 1780, 583;
total number engaged in service, 584, 587;
compared with land forces, 588;
vessels sunk in the Delaware, 428;
raised, 445.
See Navy.
Convention troops (Burgoyne's army), 317;
at Rutland, 321;
in Virginia, 321.
Conway Cabal, 392;
who shared in it?, 446;
his portrait ordered by Boston, 74;
likenesses, 74.
Conway, Gen. Thomas, at Brandywine, 382;
and the Conway Cabal, 392.
Conyngham, Gustavus, commands the "Surprise", 573;
takes prizes into Dunkirk, 573;
imprisoned in France, 573;
demanded of France by England, 574;
in the "Revenge", 574.
Cook, Frederick, 681.
Cook, James, map of So. Carolina, 537.
Cook, Col. John, 668.
Cook, Lemuel, 746.
Cook, Col. Thaddeus, orderly-book (1777), 359.
Cooke, Geo. W., Hist. of Party, 112.
Cooke, J. E., on Chas. Lee, Gates, etc., 144;
on Jefferson, 259;
on the Virginia Declaration of Independence, 259;
on the Virginia Constitution, 272;
"Historic houses in the Shenandoah", 407;
on the British in Virginia, 546.
Cooke, Samuel, The Violent destroyed, 180.
Cooke, W. D., Rev. Hist. of N. Carolina, 256.
Coolidge, G. A., Brochure of Bunker Hill, 132.
Coolidge, T. Jefferson, 258.
Cooper, J. F., Lionel Lincoln, 185, 200;
Travelling Bachelor, 466;
Naval Hist. U. S., 589;
editions, 589;
Lives of Distinguished Naval Officers, 589;
Pilot, 590.
Cooper, Dr. Myles, Friendly Address, 106;
drew out other tracts, 106;
American Querist, 106;
What think ye of Congress now? 101.
Cooper, Dr. Samuel, defends D'Estaing, 580, 601;
corresponding with Wm. Livingston, 83;
on Preston's trial, 86;
letters, 203.
Cooper, Samuel (Penna.), 436.
Cooper, Wm., 84;
town clerk of Boston, autog., 87, 115.
Copley, J. S., paints Hancock, 270;
John Adams, 36;
Sam. Adams, 40;
Chief Justice Oliver, 95.
Copp, J. J., 562.
Cornplanter, chief of the Senecas, 644.
Cornstalk, at battle of Point Pleasant, 714;
accounts of, 714.
Cornwallis, Lord, attacks Fort Washington, 289;
crosses the Hudson (1776), and occupies Fort Lee, 338, 367;
in New Jersey, 376;
in Philadelphia, 384;
at Germantown, 427;
at Gloucester, 430;
headquarters in Savannah, 471;
at Charlestown, S. C. (1780), 473;
contemp. acc. of, 474;
in command in the South, 475;
attacks Gates at Camden, 477;
weakened by the loss at King's Mountain, 480;
destroys his train, 483;
pursues Greene, 484;
at Hillsborough, 484;
at Guilford, 485;
pursued, 487;
at Wilmington, N. C., 494;
moves to Virginia, 495;
in command, 496;
tries to intercept Lafayette, 497;
at Portsmouth, Va., 498;
ordered to fortify a post, 498;
seizes Yorktown, 498;
surrenders, 504;
autog., 505;
his headquarters in Yorktown, 506;
his cave, 506;
his headquarters at Williamsburg, 506;
Correspondence, 516;
controversy with Clinton, 516;
Reply to Clinton, 516;
Answer to Clinton's Narrative, 516;
and Arbuthnot, 517;
on Tarleton, 518;
at siege of Charleston (1780), 526;
at Camden, 529;
his proclamation, 532;
his opinion of rebels, 534;
affected by Ferguson's defeat, 536;
maps of his Southern campaigns, 537, 538;
map of his campaign with Lafayette, 538;
on the Cowpens 538;
his order-book, 539;
pursuit of Greene to the Dan, 539;
his order-book, 541;
at Wilmington, N. C., 547;
disagrees with Clinton about moving into Virginia, 547;
Germain approved, 548;
fortifies Yorktown, 549.
Correspondence, committees of, 54, 56.
See Committees.
Cortelyou House, 329.
Cortland Manor, 340.
Cortlandt, Col. Philip, autobiography, 360;
portrait, 681.
Coryell's Ferry, 369.
Courts of vice-admiralty, 71.
Coventry Forge, 415.
Cowan's Ford, 539.
Cowboys, 456.
Cowley, R., Harbor of Charleston, 529.
Cowpens, battle of, 481, 482, 538;
its importance, 482;
forces at, 539;
losses, 539;
plan of fight, 539;
medals given, 539.
Cox, Daniel, 372.
Cox, S. S., 366.
Craft, Rev. David, on Sullivan's campaign, 670, 681.
Crafts, Wm., 230.
Craigie, Andrew, 142.
Cramahé commands in Quebec, 163.
Crawford, Col. Wm., killed, 736.
Crawford, James, 684.
Creasy, Decisive Battles, 357.
Cresap, Capt. Michael, advises against a war with the Indians, 710;
acc. of, 710;
unjustly charged with killing Logan's family, 711, 712;
accounts of, 712;
dies, 713;
grave, 713.
Cresap, Col. Thomas, 710, 712;
treaty with the Indians, 607.
Cresap's War, 707.
Criminals enlisted by the British, 112, 705.
Croghan, Geo., on the Indian lands, 650;
his estimate of Indian population, 650;
sent among the Western Indians (1765), 702;
at Vincennes, 703;
meets Pontiac, 704;
journals of his Western journey, 704.
Croghan, Major William, journal at Charleston, 525.
Cromot-Dubourg, Journal, 553, 554.
Crooked Billet (Pa.), 442.
Cross, Ralph, journal, 360.
Crosscup, B. S., Heart of the Alleghanies, 536.
Crown's right to unoccupied lands, 2, 6, 15;
can administer justice, 4.
Crufts, Benj., 188.
Cruger, J. H., 522.
Cruger, Lewis, 74.
Cruvat, Don Francisco, 743.
Cullum, General G. W., on Richard Montgomery, 216;
"The Struggle for the Hudson", 275;
Defences of Narragansett Bay, 593.
Currietown, N. Y., destroyed, 645.
Curry, J. L. M., address on Yorktown, 555.
Curtis, G. W., Concord Oration, 184;
on Burgoyne's surrender, 361.
Cushing, Caleb, on Brant at Wyoming, 663.
Cushing, John, autog., 50.
Cushing, Thomas, in Congress (1774), 59, 93;
autog., 99;
report on building of armed ships, 591.
Custis, G. W. P., on John Laurens, 545.
Cutler, Manasseh, diary in R. I. (1778), 601.
D'Abbadie, gov. at N. Orleans, 701.
Daggett, John, Jr., 85.
Dale, Richard, on the "Bon Homme Richard", 590;
revised the acc. in Cooper's Naval Hist., 590.
Dallas, A. J., Laws of Penna., 649.
Dalrymple, Sir John, Reply to Burgoyne, 365;
Rights of Great Britain asserted, 109, 269;
Address, 109.
Dalton, Capt., 652.
Dalzell, Capt., at Detroit, 697;
killed, 697.
Dalzell, J. M., 746.
Damer, G., his letters, 549.
Dana, Francis, 437;
on independence, 256.
Dana, Richard, autog., 87.
Dana, R. H., Jr., edits diary of a British officer in Boston, 204;
address at Lexington, 184.
Danvers (Mass.) men at Lexington, 184.
Darke, Gen., 144.
Dartmouth, Earl of, autog., 111;
orders the employment of Indians, 620;
on the ministry, 53;
Dartmouth Papers, 106.
Davenant, Chas., 63.
Davie, Col., at Hobkirk's Hill, 543.
Davie, W. R., accounts of, 537.
Davis, A. McF., edits McKendry's journal, 666;
"The Indians and the Border Warfare", 605.
Davis, Capt., of Acton, 184.
Davis, Capt. John (Penna.), journal, 546, 554.
Davis, Nathan, 668.
Davis, Thomas W., 202.
Davis, Wm., 439.
Davis, W. W. H., John Lacey, 442;
"Washington on the west bank of the Delaware", 407.
Dawes, Thomas, 88.
Dawes, Wm., sent to Concord, 123.
Dawson, H. B., "Sons of Liberty in N. Y.", 72;
on Golden Hill, 172;
controversy with "Selah", 191;
Gleanings, 191;
Major-Gen. Putnam, 191;
edits How's journal, 202;
on Ticonderoga (1775), 214;
Decl. of Indep. by Mass., 257;
Westchester County, 325;
edits N. Y. City during the Rev., 346;
edits Trial of J. H. Smith, 463;
edits Yonkers Gazette, 464;
Gazette Series, 464;
Papers Concerning Major John André, 464;
edits Conduct of Graves, 549;
Assault on Stony Point, 558;
on Jones's fight in the "Bon Homme Richard", 590.
Dawson, S. E., 225.
Dayton, Col., at Fort Stanwix, 626.
Dayton, Siege of Yorktown, 554.
De Berdt, Dennis, agent of Mass., 45;
dies, 53;
portrait, 88.
De Brahm, Journal of Siege of Charleston, 525.
De Costa, B. F., on Ethan Allen, 214;
Fort George, 214;
on Diamond Island, 357;
Lake George, 129.
D'Estaing. See Estaing.
De Kalb, Baron, in America (1768), 244;
joins the army, 380;
in the South, 475;
commands regulars, 476;
killed, 477;
lives, 530;
monument, 530.
De Lancey, E. F., on Bennington, 354;
on Demont's treason, 287, 341.
De la Touche, 500.
De Leyba, 730.
De Peyster, Col. A. S., Miscellanies, 733.
De Peyster, Gen. J. Watts, on Burgoyne's campaign, 313, 315;
on Monmouth, 446;
on Wayne, 385.
De Peyster, Major, 720.
Deane, Charles, on history of slave trade in Mass., 9;
on John Russell Bartlett, 90;
on R. Frothingham, 186;
owns a MS. map of the siege of Boston, 209;
on the Report of a Constitution (Mass.), 274;
on the convention of Burgoyne and Gates, 319;
owns Vaughan's journal, 506.
Deane, James, acc. of, 674.
Deane, Silas, letters, 99, 108;
his instructions, 256;
fits out the "Surprise", 573;
and privateers, 592.
Dearborn, Gen. Henry, on plans of Bunker Hill, 202;
his MS. journal, 467;
on the Bunker Hill controversy, 190;
journal of Quebec expedition (1775-1776), 219;
journal of Saratoga campaign, 360;
his journal, edited by Chamberlain, 360;
diary at Valley Forge, 436;
at Monmouth, 446;
diary at Yorktown, 554;
journal of Sullivan campaign (1779), 671.
Dearborn, H. A., 437.
Dearborn, Nath., Boston Notions, 200.
Debrett's Debates, 516.
Debt of Great Britain, 16.
Declaration of Amer. Independence, who drafted it, 239 (see Congress of 1776);
its character, 239;
fac-simile of original draft, 260;
debates on, 261;
paragraphs omitted from the paper as passed, 261;
changes made in the wording, 261;
early drafts, 261;
essence in earlier tracts of Otis and Sam. Adams, 261;
its literary character, 261;
the original text, 261;
Trumbull's picture, 261;
medals, 261;
autographs of signers, 263-266;
sets of the autographs, 264;
birthplaces of the signers, 264;
their occupations, 264;
college graduates, 264;
their ages at death, 264;
average age at signing, 264;
their lives, 265;
fac-similes of, 266;
fac-simile of an early broadside edition, 267;
other broadside editions, 268;
contemporary reprints, 268;
earliest authorized edition, 268;
when signed by the members, 268;
the authentication, 269;
effect of, 269;
comments on, at the time, 269;
read in Philadelphia, 273;
in New York, 273;
in Boston, 273;
the day to be commemorated, 274;
Strictures on, 240;
relations to religious sects, 241;
separated the patriots and the loyal, 247.
See Independence.
Declaratory Act, 32;
(1766), 74.
Delaplaine's Repository, 40.
Delaware, Stamp Act in, 73;
effect of Boston Port Bill in, 96;
non-importation, 79;
northern bounds, 421;
militia, 380;
troops, 545.
Delaware Bay, map, 437.
"Delaware" frigate taken, 384.
Delaware Indians, 610, 674, 709;
make treaty, 703;
neutral, 734.
Delaware River, the struggle for, 367;
its defences, 386;
operations on (1777), 429;
map by Faden, 429;
maps, 437;
obstructed (1777), 437;
first naval conflict on, 565.
Deming, H. C., 191.
Demont, Wm., his treachery at Fort Washington, 287, 341.
Denison, J., 602.
Deniston, Col., surrenders to Major John Butler, 635;
his report, 635.
Dennie, Portfolio, 222.
Dennison, Col., 664.
Denny, Major Ebenezer, Diary, 546, 554.
Depew, Chauncey M., on André's captors, 466.
Derby, E. H., 190;
fits out privateers, 591.
Derby, Capt. John, carries news of Lexington to England, 175.
Des Barres, Siege of Charleston, 528;
charts of Boston harbor, 209;
Coasts and harbors of N. England, 212;
map of the campaign around New York, 342;
Port Royal in South Carolina, 519;
Map of coasts of Georgia, 521;
map of Narragansett Bay, 601.
Desaussure, W. G., 527;
on General Moultrie, 172.
Deshler, C. D., 744.
Deshon, John, autog., 566.
Destouche's fleet beaten, 496.
Detroit, council at (1764), 698;
its fort, 690;
besieged, 690;
headquarters of the British northwestern government, 690;
Indians near, 610;
reinforced, 697;
raising of siege, 698;
siege of, references, 701;
G. R. Clark's scheme for capturing, 730, 731;
papers about, 733;
plan of the river, 733.
Deutsch-Amerikanisches Magazin, 360.
Deux-Ponts, Count, 504;
his Campaign, 554.
Devens, Chas., Bunker Hill Oration, 191, 194.
Devens, Richard, 136;
letters, 203;
on Lexington, 174.
Dewitt, Simon, 744.
Dewitt's Corner, treaty at, 679.
Dexter, Dr. A., 202.
Dexter, George, 123.
Dexter, Henry, 194.
Dexter, Samuel, on com. on the Stamp Act, 73;
his portrait, 73.
Diamond Island, fight at, 357.
Late Regulations respecting. Brit. Colonies, 64, 75;
his Speech (1764), 68;
Reply to Galloway, 68;
Denunciation of the Stamp Act, 75;
portrait, 268;
rude portrait and autog., 82;
Peale's portrait, 82;
his character, 82;
references, 82;
bibliog. of, 83;
Polit. writings, 83;
controverted in the Controversy between Great Britain and her Colonies, 83;
on the Boston massacre, 85;
Liberty Song, 86;
wrote petition of Congress of 1774 to the king, 100;
Essay on the constitutional power, 106;
on Lexington, 178;
Galloway on, 255;
speech against the Declar. of Independence, 261;
plan of confederation, 274;
and the Penna. militia, 398.
Dickinson, John D., 464.
Dickson, Col., 739.
Digby, Lieut., 360.
Dillon, Indiana, 729.
Diman, Prof., on Prescott's capture, 404.
Dodd, Robt., picture of the fight of the "Bon Homme Richard", 590.
Dodd, Stephen, Revolutionary Memorials, 627.
Doddridge, Jos., on Cresap, 712;
Logan, Chief of the Cayuga Nation, 712;
Notes on Settlements, etc., 248.
Dodge, John, captured, 683.
Döhla, J. K., 360.
Donkin's Military Collections, 183.
Donop, Count, 427;
killed at Red Bank, 387;
at Bordentown, 374;
at Brooklyn, 279;
at Long Island, 329.
Doolittle, Amos, engraver, 185.
Doolittle, Eph., 204.
Dorchester Heights (near Boston), 148, 206, 210;
occupied, 156.
Douglas, Col. Wm., 326.
Dowdswell, 21.
Downer, Silas, Discourse on dedicating Liberty Tree, 72.
Downing, Sir George, 7.
Downman, Col., 435.
Drake, F. S., Roxbury, 173;
Tea-leaves, 91.
Drake, S. A., Bunker Hill, 194;
Gen. Putnam, 191;
Middlesex County, 175;
Hist. Fields of Middlesex, 175;
Old Landmarks of Middlesex, 175;
New England Coast, 560.
Drake, S. G., Book of the Indians, 648;
on Brant, 657.
Draper, L. C., acc. of, 535, 727;
on battle of Point Pleasant, 714;
his collections on Brant, 657;
has the Geo. R. Clark papers, 718;
King's Mountain, 535;
on Montgomery's exped. (1780), 741.
Drayton, Judge W. H., 79;
his famous charge, 119;
Memoirs, 678.
Dreer, Ferdinand J., 217.
Drewe, Edw., Case, 198.
Drisko, G. W., Hannah Weston, 564, 657.
Drowne, H. T., 592.
Drowne, Solomon, Journal, 592.
Du Buysson, 530.
Ducharme, J. M., 739.
Du Chesnoy, Théâtre de la Guerre, 416.
Du Portail, autog., 500;
on Brandywine, 419;
on the siege of Charleston, 525.
Du Simitière, his portrait of Arnold, 447;
Duane, Wm., 554;
Canada and the Continental Congress, 227;
edits Marshall's diary, 273.
Duché, Jacob, his letter to Washington, 437;
in Congress of 1774, 99.
Dufey, P. J. S., Histoire des Rev. de l'Amérique, 520.
Dufresne, M. M., 723.
Dulaney, Daniel, Considerations on the propriety of imposing taxes, 65, 75;
The Right to the Tonnage, 65.
Dumas, Alex., Capitaine Paul, 590.
Dumas, C. G. F., acc. of Bouquet, 692, 699.
Dumas, C. W. F., letters, 108.
Dumas, autog., 500.
Dummer, Defence of the N. E. Charters, 255.
Duncan, E., Royal Artillery, 183, 198, 559.
Dunkirk, American cruisers at, 573;
privateers at, 592.
Dunlap, John, printer, 372.
Dunlap, Wm., Tragedy of André, 460, 560.
Dunmore, Lord, 238;
negotiates a peace, 611;
incites the Indians, 618;
leads exped. against Indians, 713;
makes treaty with Ohio Indians, 714;
his seal, 167;
his proclamation, 168;
organizes an Indian regiment, 168.
Dunmore War, 708;
causes of, 709;
references, 714.
Dupuy, Ethan Allen, 214.
Durand, A. B., 227.
Durnford, Lieut., 356.
Durrett, R. T., John Filson, 708.
Dwight, Theodore, Connecticut, 663.
Dwight, T. F., on Washington's journal, 553.
Dwight, Timothy, 189;
on fights near Fort Stanwix, 351.
Dyer, Eliphalet, 215.
Eager, Samuel W., Orange County, 662.
Earl, pictures of Lexington fight, 185.
Earle, J. E., English Premiers, 75.
East India Co. send tea to America, 57.
Eastburn, map of Philad., 442.
Eastern Indians, addressed by Washington 674;
visit Cambridge, 674.
See Indians.
Eaton, Amos, 679.
Ebeling on Steuben, 515.
Ebenezer (Georgia), 523.
Eddy, Samuel, 464.
Edes, Peter, 204.
Edes and Gill, No. Amer. Almanac, 81.
Edisto inlet, 526.
Edson, Obed., on Brodhead's exped., 671.
Edwards, N. W., Illinois, 729.
Eelking, Max von, Die Deutschen Hülfstruppen, 361;
Leben von Riedesel, 361;
Generalin von Riedesel, 361.
Egle, Notes and Queries, 554.
Eld, Lieut., 517;
his journal, 559.
Eliot, Andrew, 205;
on Bunker Hill, 187.
Elizabethtown, N. J., 404.
Ellery, Wm., 265;
autog., 263;
life, 266.
Ellet, Mrs. E. F., Domest. Hist. Am. Rev., 527, 665;
Women of the Rev., 665.
Ellicott, Andrew, Map of the Mississippi River, 702.
Elliot, H. F., 72.
Elliott, Andrew, on Arnold's treason, 467.
Elliott, Matthew, 735.
Ellis, Arthur B., American patriotism on the sea, 591.
Ellis, E. S., Daniel Boone, 708.
Ellis, Geo. E., Address on siege of Boston, 173;
on Bunker Hill, 189, 191, 194;
on Burgoyne, 204;
"Chronicles of the siege of Boston", 204;
the Prescott statue, 194;
"The sentiment of independence", 231.
Elmer, Eben, 221
Elmer, L. Q. C., Constitution of N. Jersey, 272.
Elmira, N. Y., 640.
Elonis, Henry, 385.
Elwyn, Alfred, on Brandywine, 418.
Emerson, Ralph Waldo, Hist. Discourse on Concord, 180.
Emerson, Rev. Wm., at Lexington, 180;
fac-simile of his diary, 181.
Emmet, Dr. T. A., 197, 264, 467, 532;
owns memorials of the siege of Boston, 212.
Emmons, G. F., Navy of the U. S., 589.
Endicott, C. M., Leslie's expedition, 172.
England, its constitution effected by the Amer. Revolution, 1;
rights of the crown to lands, 2;
parties in, on the American question, 112;
her naval losses, 589;
Rept. from Com. on the disturbances in Mass., 67;
her trade with the colonies, 64;
proceedings in Parliament (1774), 106;
Hutchinson's diary, 106;
war with Spain, 19.
English, T. D., 230;
on Oriskany, 351.
Englishtown, N. J., 445.
Engraving, earliest, by a native artist in British America, 198, 199.
Enlistments, long, 333.
Enos, Col. Roger, deserts Arnold, 163, 217;
court martial, 217.
Episcopacy for America urged on the ministry, 19, 38.
Episcopalians and the Declar. of Independence, 241.
Erskine, Robert, map of N. Y. harbor, 326;
map of the Hudson, 459;
topographical engineer of the Amer. army, 459;
map of Newport, 560;
map of country round N. Y., 561;
his map of the New Jersey campaign, 409.
Escomaligo, 507.
Esopus burned, 307.
Essex Gazette, 110.
Estaing, Comte d', sails from France, 579;
off New York harbor, 580;
at Newport, 580;
engages the English fleet, 580;
sails for Boston, 580;
off N. Y. harbor, 593;
goes to Newport, 593;
confronts Howe's fleet, 594;
sails for Boston, 595;
autog., 595;
the French view of his conduct, 598;
his journal, 598;
defended by Dr. Cooper, 601;
causes the destruction of English ships in Narragansett Bay, 601;
in Boston (1778), 603;
issues proclamation to Canadians, 603;
sails to the West Indies, 603;
at Savannah (1779), 470, 471, 524;
on the siege of Savannah, 522.
Ethier, Marcel, 225.
Etting, Col. F. M., books on Independence Hall, 259.
Euchee Indians, 679.
Eustis, Dr. Wm., on Arnold's flight, 458.
Eutaw Springs, battle at, 493, 545;
plans, 545.
Evans, A. W. W., on Kosciusko, 492, 557.
Evans, Chaplain, 554.
Evans, S., 734.
Everett, A. H., Bunker Hill address, 194;
Jos. Warren, 194.
Everett, Edw., Bunker Hill oration, 194;
Concord Oration, 184;
on Lexington, 184;
life of Roger Sherman, 265.
Ewald, Beyspiele grosser Helden, 419.
Ewing, Dr. John, 329;
on the Lancaster massacre, 606.
Exmouth, Viscount, life by Osler, 347.
Faden, Wm., map of New Jersey, 409;
Bay of Narragansett, 601;
map of the campaigns of Cornwallis, 537;
of So. Carolina, 538;
map of Delaware River, 429;
Map of Guildford, 540;
Map of Newport, 547;
map of the N. Y. Campaign (1776), 337, 338;
his maps of N. Y. province, 349;
of Philad., 442;
of Quebec, 226;
of Trenton and Princeton, 410;
Northern Frontiers of Georgia, 519.
Fairfax County resolutions, 98.
Fairfield, Conn., burned, 557.
Falmouth (Portland) burned, 237;
Norman's engraving, 146.
Family Compact, 19.
Fanning, Col. David, Narrative, 541.
Fanning, Capt. Nath., Memoir, 590.
Fantinekill, 639.
Farlow, R. L., 91.
Farmar, Major, at Mobile, 704.
Farmer, Robert, 705.
Farmer, Silas, Detroit, 733.
Farnham, Ralph, 192.
Farrier, Geo. H., Cent. Paulus Hook, 559.
Farwell, Josiah, 681.
Fassoux, Dr. P., 533.
Featherstonhaugh, G. W., 704;
Monthly Amer. Journ. of Geology, 704.
Febiger, Col. Christian, 547;
acc. of, 220;
at Stony Point, 558.
Fellows, John, Veil Removed, 191.
Feltman, Lieut. Wm., Journal, 554.
Fergus, Henry, United States, 665.
Fergusson, Adam, Memoir of Patrick Fergusson, 535.
Fergusson, Col. Patrick, 473;
defeated at King's Mountain, 478;
his headquarters at King's Mountain, 535;
sketch of, 535.
Fersen, Count, letters, 554;
at Newport, 560.
Few, James, 81.
Field, T. W., Battle of Long Island, 329.
Filson, John, Kentucky, 708.
Filson Club, 708.
Finch on the remains of the Boston lines, 207.
Finlay, Hugh, 222.
Finotti, J. M., 227.
Fish, Capt. J., journal, 591.
Fisher, George H., on Bouquet, 693.
Fisher, J. B., 85.
Fisher, Joshua, 437.
Fisheries, as a school for the navy, 568, 587;
value to Massachusetts, 25.
Fishkill, 340.
Fiske, John, on the political consequences of Yorktown, 549.
Fitch, gov. of Conn., 73.
Fitzpatrick, Gen., on Brandywine, 419.
Flag, the federal flag (1776), 153;
with Liberty Tree, 570;
with serpent, "Don't Tread on Me", 570;
that displayed by Paul Jones, 571;
by Johnston, 575;
pine-tree, 213;
of the United States, first fought under at Fort Stanwix, 300.
Flanders, Life of Rutledge, 73.
Flatbush, 328.
Flathe, Theodor, Geschichte der neuesten Zeit, 492.
Flatland, 328.
Flaxman, his statue of Lord Howe, 380.
Fleet's Evening Post, 110.
Fletcher, Ebenezer, Narrative, 350.
Fleury, Major Louis, at Germantown, 385;
his diary, 431;
his plan of Fort Mifflin, 433;
his plan of the attack, 435;
wounded at Fort Mifflin, 389.
Flint, West. Mo. Review, 92.
Florida, acquired by Great Britain (1763), 686;
bounds of (1763), 687.
Floyd, Augustus, life of Wm. Floyd, 265.
Floyd, Wm., autog., 264;
life, 265.
Flucker, Thomas, 59.
Flying Camp in New Jersey, 326, 403.
Fogg, Jeremiah, 204.
Folsom, Gen. M., 187.
Fonblanque, E. B. de, Burgoyne, 204, 361.
Fontleroy in America, 244.
Foote, W. H., 714.
Forbes, Major (1777), 366.
Force, Col. Peter, Amer. Archives, 653;
their bad indexes, 567;
on the signing of the Decl. of Indep., 269.
Ford, Paul L., Hamiltoniana, 104.
Forman and the Penna. militia, 398.
Forrest, Capt. Thomas, 375.
Fort Anne burned, 297.
Fort Arnold (West Point), 462, 463.
Fort Bedford, 694.
Fort Box (Brooklyn), 329.
Fort Brewerton, 609.
Fort Chartres, map of its vicinity, 700;
ruins of magazine, 703.
See Chartres.
Fort Clark, 720.
Fort Clinton, 324;
attached plan, 363.
See Forts.
Fort Clinton (West Point), 465.
Fort Constitution (Hudson River), 455.
Fort Cornwallis (Augusta), 490.
Fort Dayton (German Flats), 630.
Fort Defiance (Long Island), 328.
Fort Edward, 609;
Burgoyne at, 299;
Fort Erie, 609.
Fort Frederick, Convention troops at, 321.
Fort Gage, 719.
Fort Galphin, 544.
Fort George (N. Y.), 333, 609.
Fort Grierson, 490.
Fort Griswold (Conn.), 562.
Fort Hardy, ruins of, 362.
Fort Henry (Wheeling, Va.), 716.
Fort Hunter, 609.
Fort Independence (Hudson River), 456.
Fort Independence (N. Y.), 287.
Fort Jefferson (Mississippi River), 730.
Fort Johnson, 609.
Fort Johnson (James Island), 528.
Fort Johnson (N. C.), 542.
Fort Knyphausen, formerly Fort Washington, 338.
Fort Le Bœuf, 691.
Fort Ligonier, 694.
Fort Logan attacked (1777), 716.
Fort Massac, 718.
Fort Mercer, 429;
(Red Bank), 386;
attacked, 387.
Fort Michillimackinac, 691.
attacked, 388;
Fort Miller, 298.
Fort Montgomery, 323;
attacked, 363;
plan, 324;
chain, 324.
See Forts.
captured, 490.
Fort Moultrie surrendered (1780), 526.
Fort Niagara, 609.
Fort Ontario, 609.
Fort Ouatanon taken, 691.
attacked, 691;
Bouquet at, 697.
Fort Presqu' Isle taken, 691.
Fort Putnam (West Point), 462, 465.
Fort Sandusky taken, 691.
Fort Schlosser, 609.
Fort St. Joseph taken, 691.
Fort Stanwix (Schuyler) built, 299;
attacked by St. Leger, 299, 628;
siege raised, 632;
conference at, for establishing bounds, 605, 610;
abandoned, 645;
other maps, 351;
occupied (1775), 624;
its site, 626;
called Fort Schuyler, 626.
Fort Stirling (Long Island), 328, 335.
Fort Sullivan (Tioga River), 641.
Fort Trumbull (Conn.), 562.
Fort Tryon, 287.
Fort Venango, 691.
Fort Washington, attacked, 287;
commanded by Magaw, 287;
plans of it carried to Percy, 287;
its position, 287;
its armament, 287;
discretionary orders to Greene, 288;
surrendered, 289;
map of, 339;
fall of, 338;
named Fort Knyphausen, 338;
garrisoned, 285;
treachery of Demont, 341.
Fort Watson, 544.
Fort. See names of forts.
Forts Clinton and Montgomery, 455, 456, 465;
plan of attack, 365;
captured by Gen. H. Clinton, 306.
See Fort.
Forton, prison at, 575.
Foster, W. E., Stephen Hopkins, 70, 567.
Foucher, Antoine, Fort St. Jean, 223.
Fowler, R. L., 91.
Fox, C. J., on the battle of Guilford, 487;
on the side of the opposition, 112;
lives of, 112.
Fox, Ebenezer, Revolutionary Adventures, 582.
France driven from North America, 686;
her No. American possessions before 1763, 685;
her treaty obligations with England, 272.
Francis, J. W., Old New York, 269.
Frankland, Lady, 128.
Frankland, Sir Henry, 12.
Franklin, B., "Rules for reducing a Great Empire", 11;
examination as to the Stamp Act, 32, 74;
agent of Massachusetts, 53, 89;
agent of Penna., 74;
on the Stamp Act, 74;
correspondence with Dean Tucker, 74;
Familiar Letters, 85;
defamed for his connection with the Hutchinson letters, 56, 93;
blamed by Mahon, 93;
vindicates himself, 93;
acknowledged his agency in the Hutchinson letters to prevent a duel, 93;
attacked by Wedderburn, 95;
Franklin before the Privy Council, 93, 95;
his clothes then worn, 95;
Appeal, 109;
on com. to draft Decla. of Indep., 239;
and the Revolution, 252;
views of independence, 255;
autog., 264;
the oldest signer of the Decl. of Independence, 264;
proposes a confederation, 274, 654;
Narrative of Massacre in Lancaster County, 606;
proposes an alliance with the Six Nations, 616;
his interest in Western lands, 649;
Political Pieces, etc., 653;
and the Vandalia Company, 708;
goes to Europe with Lambert Wickes, 571;
replies to Hillsborough's report, 688;
and the Wilkes turmoils, 28;
removed as postmaster of the colonies, 56;
on the union of the colonies, 65;
his plan of union (1754), 65;
Proceedings in Mass., 67;
Some special Transactions in London, 68;
letters on the feelings in England during the Stamp Act times, 75;
his annotations on pamphlets (1769), 84;
in London (1769), 85;
correspondence with Wm. Strahan, 85;
writes preface to Sam. Adams's Rights of the Colonies, 90;
corresponds with Cushing about a congress (1773), 99;
in London watched by Quincy, 105;
A true State of the Proceedings, 106;
his conferences with Chatham, 112;
with the Howes, 112;
writing in the Public Advertiser (London), 112;
returns (1775) from England, 122;
in Cambridge (1775), 146;
urging a resort to bows and arrows, 156;
and Paul Jones, 590;
and privateers, 592;
his Supplement to the Boston Independent Chronicle a hoax, 659, 684;
advocates the retention of Canada (1763), 686.
Franklin, Gov. W., seized, 325;
on Galloway's plan, 101.
Franklin, Wm., letter, 73.
Franklin Club, 219.
Franks, Maj. D. S., aide to Arnold, 460.
Fraser, Gen., with Burgoyne, 294;
wounded, 308;
at Hubbardton, 350;
death, 357;
removal of remains, 357.
Fraser, Lt. Andrew, 702;
at Fort Chartres, 702;
escapes, 702.
Frazer, Capt., at Fort Chartres, 706.
Frazer, Persifer, 325;
on Monmouth, 446;
Frederic, H., on the Mohawk Valley 672.
Free trade, 6.
Freeland's Fort, 639.
Freeman's Farm, battle, 305, 336.
Fremont, J. C., Memoirs, 258.
French, their treatment of the Indian, 688;
their army moves from Va., 745;
near King's Ferry, 745;
march to Boston, 745.
Friedenshütten, 734.
Frisbie and Ruggles, Poultney, Vt., 355.
Frog's Neck (N. Y.), 337;
English works at, 561.
Frontiers, 248;
literature of, 248;
bands of rangers, 608.
See Border life and warfare.
Frost, John, Pict.-book of the Commodores, 592.
Frothingham, R., Rise of the Republic, 3, 252;
"Sam. Adams' Regiments", 78;
Alarm on the night of Apr. 18, 1775, 174;
Siege of Boston, 184;
Battlefield of Bunker Hill, 184;
The Centennial, 184;
portrait, 186;
notices of, 186;
on Bunker Hill, 189;
on the command at Bunker Hill, 191.
Fry and Jefferson, map of Virginia, 538.
Fuller, O. P., Warwick, R. I., 90.
Funerals, use of gloves, 77.
Fur trade disturbed by colonization, 687.
Futhey, J. S., on Brandywine, 419;
on Paoli, 419.
Futhey and Cope, Chester County, 385.
Gadsden, Christopher, 79, 238, 269;
in the Congress of 1774, 99;
favors the Articles of Association, 101.
Gage, Gen. Thomas, his letters sent back to Boston, 83;
Letters to the ministry, 84;
removes from Danvers, 114;
his wife, 123;
his report of Lexington, etc., 178;
instructions to Brown and Bernière, 182;
on Bunker Hill, 195;
his papers stolen, 204;
his letters, 204;
sends troops to Philad. to protect Indians, 606;
proclamation against intrusions on the Indian lands, 611;
complains of the Indians in the rebel army, 656;
succeeds Amherst in command in America, 702;
commands in N. Y., 30;
succeeds Hutchinson, 57;
caricature of, 59;
portrait, 114;
his spies make plans of the roads around Boston, 120;
autog., 145;
obstructed by Com. of Correspondence, 115;
awake to the magnitude of the revolt, 116;
his military reputation ruined at Bunker Hill, 136;
goes to England, 146;
loyalists address him, 146;
dissatisfied with Boston as a military post, 152.
Gaine, N. Y. Pocket Almanac, 331.
Gale, George, Upper Mississippi, 648.
Gallatin, Albert, Synopsis of Indian tribes, 651.
Galloway, Jos., 68; his plan of adjustment, 101;
Candid Examination, etc., 101;
a reply in an Address, 101;
and in response, A Reply, 101;
Hist. and Polit. Reflections, 101;
Examination before the House of Commons, 101;
Lecky's opinion of him, 101;
his character, 235;
in Cont. Congress, 235;
and the patriot leaders, 247;
Hist. and Polit. Reflections, 254;
joins the British, 370;
made superintendent of police in Philad., 395;
on Indian lands, 650;
his Speech in answer to Dickinson, 68;
conveyed information to Dartmouth through W. Franklin, 101, 104, 111;
Arguments on both sides, 101;
his map of the 1777 campaign, 415;
Letters to a Nobleman, 415;
and the campaign of 1777, 416.
Galvez, Gov., at New Orleans, 739;
captures British posts on the Mississippi, 739;
takes Mobile, 739.
Gambier, Admiral, 436;
life by Cavendish, 326.
Gambrall, Church life in Colonial Maryland, 71.
Gammell, Wm., on John Russell Bartlett, 90;
Samuel Ward, 565.
Gansevoort, Col., holds Fort Stanwix, 299, 628;
refuses to surrender, 632;
in Sullivan's expedition, 641;
Gardiner, D., engraving of Cornwallis, 474.
Gardiner and Mullinger, Eng. Hist. for Students, 75.
Garth on the Stamp Act debates, 74.
references, 90.
Gates, Gen. Horatio, advises against an assault on Boston, 142;
paper on, by J. E. Cooke, 144;
letters from Cambridge, 203;
his character, 291;
at Ticonderoga, 291;
portraits, 302, 303, 310, 476;
autog., 303;
supersedes Schuyler, 303;
his estate in the Shenandoah Valley, 303;
in N. Y., 303;
headquarters at Saratoga, 303, 356, 361;
on the surrender of Burgoyne, 358;
medal given to him, 358;
strength of his army, 358;
joins Washington in the Jerseys, 378;
refuses to reinforce Washington (1777), 447;
sent South, 476;
deceived as to the size of his army, 476;
at Charlotte, 477;
at Hillsborough, 477;
superseded by Greene, 480;
never tried, 480;
his papers, 532;
letters after Camden, 532;
defended by Greene and others, 532;
map of his Southern campaign, 537;
declines command of exped. against the Indians, 638;
commands in Canada (1776), 346;
differences with Schuyler, 346;
remonstrates at Schuyler's being confirmed, 349;
supersedes Schuyler, 356;
adj.-general at Cambridge, 655;
and the Board of War, 392;
quarrels with Arnold, 306, 315;
not on the field in the battles about Saratoga, 309;
agrees to Burgoyne's terms, 309;
aspires to supplant Washington, 312;
his military character, 314.
Gates, Capt. Wm., orderly-book (1777), 359.
Gay, S. H., on Cornwallis in Virginia, 549.
Gee, Joshua, 63.
Gee, Thomas, order-book, 670.
General officers, first of the war, 143.
General View of the Amer. navy, 589.
General warrants, 11.
Genet and the Western exped., 733.
George II. died, 12.
George III., portrait, 20, 76;
by Walpole, 75;
supported by his people, 111;
his determination to crush the revolt, 111;
his proclamation, 111;
his responsibility for the Amer. Rev., 244, 245;
justification by Mahon, 244;
his hatred of Chatham, 246;
his statue in N. Y., 325;
his proclamation of 1763, 687.
George, Capt. Robert, 729.
George, Fort (N. Y.), 275.
See Fort.
George, Lake, surveys of, 348.
George's Cambridge Almanac, 178.
Georgia, address to the king (1769), 83;
not represented in the Congress of 1774, 99;
movements (1775), 131;
in the Cont. Congress, 238;
Constitution of, 274;
occupied by the British (1779), 470;
war in, 513;
map of northern frontiers, 519;
map of A. Campbell, 675;
Indian war in, 676.
Gérard in Philadelphia, 101.
Gerlach, P., 350.
Germain, Lord Geo., his orders to Burgoyne, 295;
portrait, 295;
fails to instruct Howe, 295;
and Gen. Howe, 329;
Reply to Burgoyne, 365;
Correspondance avec Clinton, etc., 516;
his instructions to reduce South Carolina, 526, 527;
family papers, 719;
to Clinton on Arnold and André, 467;
The Rights of Great Britain, 269;
scheme to conquer the West, 742.
German Flats, 350.
Germantown, battle of, sources, 385, 421;
map of approaches, 424;
Chew House, 426;
British camp at, 442.
Gerry, Elbridge, 238;
on Washington as commander-in-chief, 131;
book of contracts, 203;
autog., 263;
life, 266;
draws law for admiralty cases in Mass., 591.
Getty, Gen. G. W., his plan of Yorktown, 553.
Gibault, a priest, 722.
Gibbes, W. R., Doc. Hist. Amer. Rev., 512.
Gibbs, Major, diary, 601.
Gibson, Thomas, 421.
Gillett, E. H., 71.
Gilman, Arthur, Cambridge of 1776, 142.
Gilman, Caroline, edits Wilkinson Letters, 520.
Gilmor Papers, 73.
Gilmore, Jas. R., on the Cherokee wars, 679;
Rear Guard of the Revolution, 536.
Gilpin, H. D., life of Jefferson, 265;
of Thomas Nelson, 266;
of Elbridge Gerry, 266;
of Cæsar Rodney, 266;
of Benj. Harrison, 266;
of Geo. Ross, 266;
life of Geo. Taylor, 266;
of William Ellery, 266;
of Sam. Adams, 266.
Gilpin, Rev. Wm., Memoirs of Josias Rogers, 527.
Giradin, L. H., Virginia, 515.
Gist, Gen. Mordecai, 477, 533, 534.
Gist, Col. Nath., and Indian recruits, 633, 677.
Gladwin, Maj. Henry, at Detroit, 690;
acc. of, 690.
Gleig, G. R., British Commanders, 516;
on Burgoyne's surrender, 358.
Glick, on Bennington, 354.
Gloucester, N. J., 425;
British at, 442;
map of Lafayette's victory at, 430.
Glover, C. Appeal, 109.
Glover, John, orderly-books, 204, 601;
conducts Convention troops to Boston, 317;
life, by Upham, 325;
his letters, etc., on the Saratoga campaign 356.
Goddard, D. A., on Mass. men in Bennington fight, 355.
Goddard, May Katharine, 268.
Godefroy, Fr., Recueil, 185.
Golden Hill, N. Y. city, 172.
Goldsborough, Chas. W., U. S. Naval Chronicle, 589.
Gooch, John, on Harlem, 334.
Good Literature, 218.
Goodhue, Shoreham, l't., 214.
Goodrich, Chas. A., Lives of the Signers, 266.
Goodrich, Chauncy, 557.
Goodrich, Capt. Wm., 613.
Goodwin, Daniel, Jr., on Dearborn, 190;
Provincial Pictures, 73.
Goodwin, H. C., Cortland County, 351, 666.
Gookin, Daniel, 668.
Goold, Wm., Portland in the Past, 146, 603.
Gordon, Col Cosmo, his court-martial, 560.
Gordon, Capt. Harry, 709.
Gordon, Wm., Acc. of the Commencement of Hostilities, 178;
Amer. Rev., 518;
map of siege of Boston, 207, 212;
on battle of Camden, 532;
his maps of the Southern campaigns, 547;
on Sullivan's exped., 666.
Goshen, Pa., skirmish, 416.
Goss, E. H., on Revere, 47, 175.
Gould, E. T., 175.
Gould, Jay, Delaware County, 670.
Goussencourt, Chev. de, 502.
Gowanus Creek, 328.
Grafton, Duke of, 21;
ministry, 46.
Graham, James, Life of Morgan, 511, 539.
Graham, Gen. Joseph, 514, 529;
on King's Mountain, 535;
on the Carolina campaign, 539.
Graham, J. J., on Gen. Graham, 518.
Graham, Gen. Samuel, Memoir, 518, 744.
Graham, W. A., British Invasion of N. Carolina, 514, 539;
Mecklenburg Centennial, 257.
Grant, Col., attacked by the Cherokees (1761), 675.
in command in New Jersey (1776), 374;
at Barren Hill, 443.
Grant, George, 668;
his journal, 671.
Grant, Thomas, his journal, 671.
Grant, Picturesque Canada, 216.
Grantham, Lord, 592.
Grape Island, 131.
Grasse, Comte de, sails for America, 499;
on the Chesapeake, 501;
engages Graves, 501;
plans of fight, 548;
autog., 502;
accounts of, 502.
Grasshoppers, so called, 482.
Graves, Adm. Samuel, relieved by Shuldham, 114, 152;
engages De Grasse near the Chesapeake, 501, 548;
succeeds Arbuthnot, 517;
autog., 114.
Graves, Wm., Two letters, 549.
Gray, Horace, on the writs of assistance question, 13.
Gray, John, 746.
Gray, Col. Robt., 514.
Gray, Samuel, 187.
Gray, Capt. Wm., map of Butler's route (1778), 681.
Greathouse, murderer of Logan's family, 711.
Greely, Mary W., 142.
Green, Ashbel, life of Witherspoon, 265.
Green, Dr. Ezra, Journal, 119, 590.
Green, S. A., prints the records of the Tea-ships Meeting, 91;
owns map of the siege of Savannah, 521;
edits Deuxpont's journal, 554;
on Paulus Hook, 559.
Green Mountain Boys, 161.
Greene, Colonel Christopher, defends Fort Mercer, 387.
Greene, Gardiner, 205.
Greene, G. W., Life of N. Greene, 511;
Biog. Discourse, 511;
German Element, 530;
on battle of Long Island, 330.
Greene, Gen. Nathanael, at Roxbury, 134;
on Bunker Hill, 187;
in Brooklyn, 275;
too ill to command, 278;
builds the Brooklyn lines, 326;
his conduct at Brooklyn criticised, 330;
his mistake at Fort Washington, 341;
evacuates Fort Lee, 367;
at Trenton, 375;
at Germantown, 385;
quartermaster of the army, 391, 436;
interview with Gen. Robertson about André, 461;
supersedes Gates in the South, 480;
as a soldier, 481;
confronts Cornwallis, 483;
crosses the Dan, 484;
at Guilford, 485;
at Ramsey's Mill, 487;
on Hobkirk's Hill, 487;
at Rugeley's Mill, 488;
relations with Sumter and Marion, 490;
besieges Ninety-Six, 491;
at High Hills of Santee, 493;
at Eutaw Springs, 493;
at Round O, 506;
engraved portraits, 508, 509, 512, 513;
accounts of them, 509;
notice of his life, 510;
his statue, 510;
medal, 510;
dies, 510;
lives of, by Geo. W. Greene, 511;
eulogy by Hamilton, 511;
grant for his services, 511;
burial-place, 511;
autog., 514;
on Gates's defeat at Camden, 532;
defends Gates, 532;
and the case of Isaac Hayne, 534;
his Southern campaign, 537;
his influence over his officers, 537;
letters, 537;
instructions, 537;
maps of his campaigns, 537, 538;
corrects maps for Gordon, 537;
at Cowpens, 538;
his letters, 538;
acc. of his retreat to the Dan, 539;
at Guilford, 539;
at Hobkirk's Hill, 541;
at Ninety-Six, 544;
his medal for Eutaw, 545;
at Morristown, 559;
at Springfield, 559;
under Sullivan in Rhode Island, 593;
makes treaty with Cherokees, 677.
Greene, Jos., 178.
Greenleaf, B., 156.
Greenleaf, Moses, MSS., 437;
in the Northern campaign (1776), 346;
orderly-book, 557.
Greg, Percy, United States, 456.
Gregg, Alexander, Old Cheraws, 676.
Greive, George, 560.
Grenadier Guards at Cowan's Ford, 539.
Grenell, John, 323.
Grenville, George, in power, 21, 23, 49;
and the Hutchinson letters, 56;
Regulations lately made, 75;
Controversy between Great Britain and her Colonies, 83;
speech on the Tea-ship's commotions, 92;
Stamp Act, 29.
Grenville Act (1764), 7, 27, 63;
characterized by Bancroft, 27;
in Boston, 27.
at Fairhaven, 603;
portrait, 383.
Gridlestone, Thomas, on Chas. Lee as Junius, 406.
Gridley, A. D., Town of Kirkland, 659.
Gridley, Richard, made chief engineer (1775), 134;
marks out redoubt on Bunker Hill, 135;
Washington's opinion of, 159;
letters, 203.
Grierson, Col., shot, 534.
Griffin, Col., 374.
Grigsby, H. B., Virginia Convention of 1776, 107, 257.
Grimke, Cpl., 520.
Grindall's Ford, 481.
Griswold, A. C., 191.
Grosvenor, L., 191.
Groton, Conn., attacked (1781), 562.
Grout, Lieut. David, orderly-book (1779), 359.
Groveland, ambuscade at, 642, 681;
map of ambuscade, 671.
Guadaloupe, 686.
Guernsey, A. H., 665.
Guess, Col. Nath., 677.
Guild, R. A., Chaplin Smith and the Baptists, 354, 357.
Guilford, battle of, 485, 540;
losses, 487;
Faden's map, 540.
Gummersall, Thomas, 683.
Gunby, at Hobkirk's Hill, 488.
Gunpowder, making of, 108, 118.
Gwinnett, Button, 264;
life of, 265;
autog., 266.
Habersham, Major John, 677.
Hadden, James Murray, Journal, 359.
Hageman, J. F., Princeton, 412.
Haldane, Lieut., 545.
Haldimand, Gen., deceived as to Sullivan's purpose (1779), 642, 667;
his relations with the Indians, 653;
Papers, calendar of, 653, 690;
ordered to attack New Orleans, 738.
Hale, Benj., 326.
Hale, E. E., on siege of Boston, 173;
Hundred years ago, 173;
on Bunker Hill, 189;
Faden maps, 210;
edits Howe's Orderly Book, 415;
on Cornwallis, 516;
on Yorktown, 555;
"Naval History of the American Revolution", 563;
on Paul Jones, 590;
Franklin in France, 591.
Hale, J. P., Trans-Alleghany Pioneers, 714.
Hale, Capt. Nathan, hanged, 333.
Half-King, a Huron, 735.
Halifax, refugees from Boston at, 206.
Hall, Capt., Civil war in America, 342.
Hall, Hiland, Ticonderoga, 214;
on Bennington, 356;
on Warner at Bennington, 356.
Hall, Lyman, 264;
life by H. McCall, 265;
autog., 266.
Hall, The Dutch and the Iroquois, 689.
Hallet,. Capt. J. A., 582;
in the "Tyrannicide", 582;
his log, 582.
Hallowell, Robt., 80.
Halsey, E. D., Morris County, 407.
Hamilton, Alex. his appeal (1774), 98;
A full vindication, 104;
The Farmer refuted, 104;
at Chatterton Hill, 286;
portraits of, 384;
bust of, 384;
aid to Washington, 416;
at Monmouth, 445;
his letters about Arnold and André, 466;
receives the news of Arnold's treason, 459;
Eulogy on Gen. Greene, 511;
his plan of operations with Rochambeau, 561.
Hamilton, E., Reynolds, 517.
Hamilton, F. W., Grenadier Guards, 518.
Hamilton, Gov., his case, 653;
charged with paying for scalps, 682, 726;
his report on the capture of Vincennes, 719;
defends his character, 719;
invades the Illinois country, 724;
recaptures Vincennes, 724;
letters from Detroit, 733;
his report of his surrender to Clark, 726;
sent to Virginia, 728;
sent to N. Y., 729.
Hamilton, Jas., Life of Thomas Heyward, 265;
Thomas Lynch, 265.
Hamilton, Engraved Works of Reynolds, 474.
Hammond, Col. Samuel, portrait, 535;
on Blackstocks, 536;
on Cowpens, 538;
his plan, 539.
Hancock, John, his brig "Harrison", 33;
and S. Adams' portrait, 40;
in the legislature, 42;
his sloop "Liberty" seized, 43, 80;
his "Rising Liberty", 80;
his letters, 107;
presides over Provincial Congress, 116;
at Lexington (1775), 122, 179;
excepted from pardon, 132;
letter to Ward, in fac-simile, 143;
his house, 207;
in Congress, 236;
life by John Adams, 265;
estimate of him by John Adams, 271;
sketch by C. F. Adams, 271;
by G. Mountfort, 271;
other accounts, 271;
naval instructions, 565;
commands Mass. militia in R. I., 603;
entertains D'Estaing in Boston, 603;
oration on Boston Massacre, 88;
suggests a Congress (1774), 99;
President of Congress, 107;
on his way to Congress, received with enthusiasm in N. Y., 125;
his house, 149;
abused, 204.
Hancock's Bridge (Pa.), 442.
Hand, Col., 278.
Hanger, Geo., Address to the Army, 517 (see Colerain).
Hanging Rock, 475.
Harcourt, Lt.-Col., 369.
Hardenburgh, John L., in Sullivan's campaign (1779), 671.
Harding, Seth, 568;
in the "Confederacy", 583.
Harlem Heights, 335;
Americans occupy, 284;
Washington's headquarters, 284;
fight at, 285;
evacuated, 285;
Washington at, 334;
maps of, 334;
references, 334;
view, 334.
Harpersfield, N. Y., 643.
Harriman, Walter, 129.
Harrington, Daniel, 179.
Harris, Capt. (Lord), 183;
wounded at Bunker Hill, 195.
Harris, Moses, the spy of Schuyler, 356.
Harris, Samuel, Jr., journal of Saratoga campaign, 360.
Harris, W. W., Groton Heights, 562.
Harris and Allyn, Groton Heights, 448.
Harrison, Benj., 259;
his house, 259;
autog., 266;
life, 266.
Harrison, R. H., aide to Washington, 327, 390, 418.
Harrod, James, in Kentucky, 715.
Harrodsburg, Ky., 715.
Hart, John, autog., 264.
Hart, Thomas, 570.
Hartford, convention at (1780), 560;
Washington meets Rochambeau at, 561.
Hartley, Cecil B., Heroes and patriots, 680.
Hartley, Col., attacks Tioga, 636.
Hartley, Thomas, 346.
Hartley, Heroes of the South, 508.
Haskell, Caleb, 203;
diary, 219.
Hass, Wells de, Indian Wars, 649.
Hastings, Marquis of, 197.
Haswell, Anthony, Memoirs and Adventures, 709.
Hatfield, Hist. of Elizabeth, 407, 560.
Hathorn, Col., defeated by Brant, 639.
Hawthorne, Nath., his "Old Manse" house, 180;
Septimius Felton, 185.
Haven, C. C., Washington in N. Jersey, 407;
Thirty days in N. Jersey, 407;
Annals of Trenton, 407;
Hist. Manual, 407.
Haw River, 485.
Hawkins, Benj., 651.
Hawks, F. L., on the Regulators, 81.
Hawley, James, 42.
Hawley, Gen. Jos., on Stony Point, 558.
Hawley, Joseph, 34;
urges fighting, 117;
"Broken Hints", 118;
autog., 118;
tries to assuage passions, 118;
on independence, 258.
Hay, Major, 728.
Hay, P. D., The Swamp Fox, 512.
Hayden, H. E., bibliog. of Wyoming, 665;
General Enos, 217.
Hayes, W. A., 746.
Hayne, Isaac, his career and execution, 534.
Hayne, Paul H., poem on King's Mountain, 536.
Hayward, E. L., 522.
Haywood, John, Hist. Tennessee, 676, 678.
Hazard, Eben, on the Penobscot exped., 604.
Hazard, Samuel, Penna. Register, 650.
Hazlewood, Com. John, 386;
Head of Elk, 379.
Headley, J. T., on Burgoyne's campaign, 359;
on the camp at Newburgh, 744;
Miscellanies, 590;
on Bouquet, 693.
Heath, Gen., account of the fight at Menotomy, 126;
autog., 127;
his service, 128;
his papers, 128;
Memoirs, 180;
commands Eastern department, 318;
at Peekskill, 403;
plan of Stony Point, 557;
in Boston (1778), 603;
made general, 119;
autog., 203.
Heckewelder, John, the missionary, 651, 734.
Hele, Lieut., 449.
Hellwald, Von, America, 129.
Helm, Capt., at Vincennes, 723, 728, 729.
Hempstead, Stephen, 562.
Hendricks, Capt. Wm., 219.
Henley, Capt. David, 318.
Hennequin, Biographie Maritime, 595.
Henry, J. J., Campaign against Quebec, 219.
Henry, Moses, 724.
Henry, Patrick, 238;
questions the prerogative, 24;
supports com. of corresp., 56;
character, 107;
memoir by W. W. Henry, 107;
prepared (1774) to fight, 117;
"We must fight", 121;
commands Virginia militia, 167;
on independence, 257;
his house, 259;
and Western lands, 649;
gov. of Va., 716;
corresponds with Spanish governor of New Orleans, 738;
his letter on Clark's conquests, 723.
Henry, W. W., memoir on Patrick Henry, 107;
on G. R. Clark, 734.
Henshaw, Joshua, 73.
Henshaw, Col. Wm., 204.
Herbert, Chas., Relics of Amer. Prisoners, 575;
The Prisoners of 1776, 575.
Hering, J. H., 348.
Herkimer, Gen. Nicholas, at Oriskany, 299, 630;
goes to Unadilla, 626;
conference with Brant, 627;
his force, 630;
wounded, 631;
suspicious portrait, 351;
view of house, 351;
his name, 351.
Herrick, H. W., on Stark and Bennington, 354.
Hesperian, The, 710.
Hesse, Mr., 738.
Hesse-Cassel, Prince of, his letter to Baron Hohendorf a forgery, 411.
Hessians in the Long Island battle, 329;
at Oriskany, 351;
their jealousy of the English, 354;
taken at Trenton, marched through Philadelphia, 376;
at Brandywine, 419;
in the South, 482;
at Savannah (1779), 524;
at Guilford, 541;
in the R. I. campaign (1778), 595, 601.
Hewes, G. R. T., Traits of the Tea Party, 91;
Retrospect of the Tea Party, 91.
Hewes, Joseph, life and autog., 266.
Heyward, Thomas, life, 265;
autog., 266.
Hichborn, Benj., 88.
Hickey, Thomas, 326.
Hickey Plot, 326.
Hide, Elijah, 186.
Higginson, T. W., on Paul Revere, 175;
on Salem privateers, 591.
Hildreth, S. P., Pioneer Settlers of Ohio, 219, 567, 708.
Hill, Geo. C., Arnold, 461;
Daniel Boone, 708.
Hill, J. B., Old Dunstable, 189.
Hill, John, his plan of N. York, 331;
map of Philad., 442.
Hill, N. N., Jr., 736.
Hillard, E. B., Last Men of the Rev., 746.
Hills, John, 426; Map of Springfield, N. J., 560;
map of Stony Point, 558;
plan of attack on Forts Clinton and Montgomery, 363.
Hillsborough, Earl of, 21, 43;
leaves the ministry, 53;
requires Massachusetts to rescind its circular letter, 44;
she refuses, 45.
Hinman, Connecticut during the Rev., 663.
Hite, Col. John, 718.
Hobkirk's Hill (second battle of Camden), battle of, 488, 541;
forces and losses, 544.
Hodgkin, Col. Joseph, 325.
Hodgson, John, 86.
Hoffman, F. S., 451.
Holden, Queensbury, 214.
Holland, E. G., "Highland Treason", 466.
Holland, Sam., chart of Boston harbor, 209;
his plan of N. Y., 333;
his maps of the English colonies, 341;
surveys of Fort Clinton, etc., 364.
Hollis, Thomas, 68;
prints The True Sentiments of America, 83.
Hollister, H., Lackawanna Valley, 665.
Holmes, O. W., Grandmother's Story, 200.
Holmes, Missions, 736.
Holyoke, Dr., 187.
Home, John, 269.
Hood, Admiral, 83;
Letters, 84;
on the American coast, 501.
Hooper, Archibald M., acc. of Robert Howe, 519.
Hooper, J. C., life of Wm. Hooper, 265.
Hooper, "King", 114.
Hooper, Wm., life, 265;
autog., 266.
Hopkins, Esek, made chief naval officer, 568;
portraits, 569;
attacks New Providence, 570;
attacks the "Glasgow", 570;
court-martial, 570;
accounts of, 570;
retires, 570.
Hopkins, John B., capt. in the navy, 570.
Hopkins, Stephen, 53;
answered in a Letter from a gentleman at Halifax, 70;
and in Defence of a Letter, 70;
and Brief Remarks, 70;
Rights of the Colonies, 70;
Grievances of the American Colonies, 70;
autog., 263;
life, 265;
and the Congress of 1754, 66.
Hopkinson, Francis, autog., 264;
life, by R. P. Smith, 265;
letter to Duché, 438;
Battle of the Kegs, 442.
Hoppin, J. M., 439;
edits H. A. Brown's Orations, 446.
Hoppin, Nicholas, 142.
Horry, P., Life of Marion, 512.
Horry, quarrels with Mahem, 545.
Hosack, David, 464.
Hosmer, Rufus, 189.
Hotham, Com., 364.
Houdon, his bust of Paul Jones, 592.
Hough, F. B., Order-book of Captain Bleecker, 670;
edits the Cow-Chace, 560;
Proc. of Congress at Boston, 560;
Savannah, 522;
Siege of Charleston, 525;
edits Siege of Detroit, 701.
Houghton, G. F., on Colonel Warner, 356.
How, David, 202.
How, Henry K., Trenton, 407.
Howe, Henry, Hist. Coll. N. Y., 666.
Howe, John, Journal, 119.
Howe, Richard, Admiral Lord, 380;
confronts D'Estaing off Newport, 594;
Candid and Impartial Narrative, 594;
arrives at New York, 326;
statue, 380;
attempts to force the Delaware defences, 387;
cruised off Boston to lure out D'Estaing, 603.
Howe, Gen. Robt., on defences of Charleston, 230;
at West Point, 456;
at Savannah, 469;
his Court-Martial Proceedings, 519;
acc. of, 519.
Howe, Gen. Wm., autog., 136;
his army on Staten Island (1776), 275;
lands on Long Island, 276;
his portrait, 197, 278, 383, 417, 418;
his blunders in the N. Y. campaign (1776), 291;
in Philadelphia, 384;
his army attacked at Germantown, 385;
criticised in Letters to a nobleman, 415;
his Observations, 415;
Reply to Observations, 415;
Letters from Agricolas, 415;
generally criticised, 415;
connection with Mrs. Loring, 415;
leaves Philadelphia, 396;
Mischianza, 396;
attacks Lafayette at Barren Hill, 396;
his reputation ruined by the campaign of 1777, 414;
tracts on his incompetency, 414;
his Orderly-book, 1775-1776, 194, 415;
his H. Q. at Brandywine, 415;
sails from N. Y., 417;
at Head of Elk, 418;
his character, 418;
enters Philad., 419;
his proclamations, 419;
his acc. of Germantown, 426;
tries to lure Washington to battle, 439;
H. Q. at Stenton, 429;
orders in Philadelphia, 436;
H. Q. in Philad., 436;
relieved by Clinton, 443;
hopes to use the Indians, 621;
criticised for his attack at Bunker Hill, 140;
his fleet, 158;
his conduct of the siege criticised in A View of the Evidence, etc., 205;
knighted, 281;
occupies N. Y., 283;
dallies at Mrs. Murray's, 284;
attacks to outflank Washington by way of Throg's Neck, 285;
at White Plains, 286;
at Dobbs's Ferry, 287;
attacks Fort Washington, 287, 288;
crosses into Jersey, 290;
his letters during the Long Island campaign, 329;
criticised by Mauduit, 329, 337;
his quarters in N. Y., 331;
his movements above New York (1776), 337;
going to Philadelphia, defeated Germain's plans, 348;
sends expedition to Danbury, 348;
takes Philadelphia, 367;
invades the Jerseys, 368;
evacuates New Jersey, 379;
sails south, and lands at Head of Elk, 379;
at Brandywine, 381;
criticised (1776), 331.
Howells, W. D., Three Villages, 184;
on Gnadenhütten, 736.
Howland, John, of Rhode Island, 405.
Hoyt, A. H., 95.
Hoyt, Epaphras, 627.
Hoyt, Gen., on the Saratoga battlefield, 357.
Hubbard, Frances M., Wm. Richardson Davie, 537.
Hubbard, John, Maj. Moses Van Campen, 669.
Hubbard, J. N., Sa-go-ye-wat-ha, 625, 662;
Life of Van Campen, 665.
Hubbardton, affair at, 297, 350;
map, 350.
Huberton. See Hubbardton.
Hubley, Col. Adam, 668;
American Revolution, 650.
Huddy, Capt. Joshua, case of, 744.
Hudson, Chas., 184;
Lexington, 180;
on Pitcairn, 183;
Doubts concerning Bunker Hill, 189.
Hudson, C., and Porter, E. E., Centennial of Lexington, 184.
Hudson, F., Amer. Journalism, 110;
on Lexington, 184.
Hudson River, the campaigns about, 275;
maps of, 323, 340, 364, 455, 456, 465, 556, 557;
the British to secure its line, 323;
British ships in (1776), 326;
obstructions in, 364;
frozen at New York, 559;
highlands of, 340.
Huger, Gen., 483;
the Virginia brigade, 485.
Hughes, Major, aide to Gen. Gates, 360.
Hull, Capt. Wm., on Trenton, 407.
Humphreys, Life of Putnam, 190.
Hunnewell, J. F., Bibliog. of Charlestown, 185.
Hunt, Louise L., on Gen. Montgomery, 216.
Hunter, C. L., Western No. Carolina, 256, 536, 678.
Huntington, Jed., letters during siege of Boston, 203;
on Valley Forge, 436.
Huntington, Samuel, autog., 263;
life, 265.
Hurd, John, 227.
Husband, Herman, 81;
A Fan for Fanning, 81;
Impartial Relation, 82.
Huske, Present State, etc., 650.
Husted, N. C., Centennial Souvenir, 466.
Hutcheson, Maj. Francis, his diary, 205, 346.
Louisiana, 651;
his maps of Bouquet's exped., 699;
map of Illinois country, 700;
Louisiana and West Florida, 700;
Virginia, etc., 700.
Hutchinson, Col. Israel, 204.
Hutchinson, Gov. Thomas, 89;
on Boston Massacre, 85;
his Strictures on the Declaration of Congress, 240;
chief justice of Mass., 12;
lieut.-gov. of Mass., 22;
on feelings in England, 111;
his coach used by Washington, 146;
his character, 26;
draws up petition to the Commons, 28;
succeeds Bernard (1769), 49;
made gov. of Mass. (1771), 53;
his letters returned to Boston by Franklin, 56, 93;
sails for England, 57;
death, 58;
plan of union in 1754, 66;
disapproval of the Stamp Act, 72;
his speech after the mob, 73;
his controversy with his Assembly, 88;
threatened, 88;
Copies of letters, etc., 93;
Letters of Gov. Hutchinson, etc., 93;
The Representations of Gov. Hutchinson, 93;
R. C. Winthrop's views of the return of his letters, 93;
George Bancroft's, 93;
Grenville's connection, 94;
interview with the king (1774), 97;
opposes the Boston Port Bill, 97;
addressed on leaving Boston, 113.
Hyrne, W. A., 169.
Hyslop, Robt., has Paul Jones's papers, 589.
Illinois, county of Va., 729.
Illinois country, 708;
map of, by Hutchins, 700;
Clark's campaign in, 718;
to be invaded by the British (1780), 737;
Illman, Thomas, 194.
Imlay, Gilbert, Western Territory, 652, 708.
Importers in Boston proscribed, 79, 80;
list of them, 79.
Indeberg (N. Y. city), 284.
Independence, of the United States, growth of the sentiment, 231, 256.
Indians, taken prisoners and made slaves, 676;
threaten the Southern colonies (1763), 17;
Indian Treaties, etc., 247;
their part in the Rev. War, 605;
their grants of lands, 607;
rights of their women, 607;
private persons forbidden to buy their lands, 608;
spare woman's chastity, 610, 652;
proportion of warriors, 611;
names of tribes, 699;
enlisted as minute-men at Cambridge, 612;
of more use to the British, 612;
counter-movements to employ them, 613, 614, 615, 616, 618;
in battle of Long Island, 613;
used as scouts, 613;
at White Plains, 613;
on the Kennebec exped., 614;
commissions given to them, 617;
and the British ministry, 617;
the British government announce their intention of using them, 621;
entice them by gifts, 621;
books about, 648;
as allies in war, 649;
their lands encroached upon, 649;
number in the British service, 652;
with St. Leger, 661;
commissioned by Congress, 672;
employment of, in war, opinions as regards, 673;
counter-statements of English and French, 688, 689;
bounties offered to engage in the war, 674;
enlisted, 677;
join the Americans in the South, 679;
Laws relating to Indians, 682;
civilized by the Moravians, 736.
Ingersoll, E., life of L. Morris, 266;
of Thomas Stone, 266;
of Samuel Chase, 266;
of James Smith, 266;
of Jos. Hewes, 266;
of Wm. Paca, 266;
of John Adams, 266.
Ingersoll, Jared., to be stamp distributor, 72;
his Letters, 73.
Inglis, Chas., Plain Truth, 270;
on the Iroquois, 608.
Inman, George, on Princeton, 412.
Innes, Col. Jas., 718.
Insurance, maritime, rates of, during the Rev. War, 563, 573.
Ipswich dreads a raid from Boston (1775), 128.
Iredell, James, 532.
Ireland, address of Congress to, 617.
Irenæus, Father, 710.
Inglis' memorial about, 608.
Irvine, Col., attack at Three Rivers, 225.
Irvine, Gen., diary, 222.
Irvine, Gen. James, wounded at Chestnut Hill, 389.
Irvine, William, at Monmouth, 446;
at Fort Pitt, 732;
letters and papers, 737.
Jack, Major, in Georgia, 676, 678, 679.
Jackson, Helen Hunt, Century of Dishonor, 681,
Jackson, survey of Lake George, 348.
Jacob, John J., Life of Cresap, 712.
Jacobs, Francis, 419.
Jamaica Bay, 327.
James, John, Life of Marion, 512.
James, Wm. D., Life of Marion, 512.
James Island (near Charleston, S. C.), 526.
Jameson, Col., receives André, 458.
Jameson, Constitutional Conventions, 72.
Jarvis, J. W., 734.
Jasper, Sergeant William, 172, 230;
killed, 524.
Jay, John, address to the people of Great Britain, 100;
an Episcopalian, 241;
on Harlem fight, 334;
on the desire for independence, 255.
Jefferson, Thomas, Summary View, 98, 99;
the Decl. of Indep., 239;
Stuart's profile likeness of, 258;
portraits of, 258;
his house, Monticello, 259;
fac-simile of his orig. draft of the Decl. of Independence, 260;
why at the head of the com. for drafting the Decl. of Indep., 261;
the house where he wrote the Decl. of Indep. 261;
the desk, 261;
life of George Wythe, 265;
life by Gilpin, 265;
escapes from Tarleton, 497;
during the invasion of Va., 515, 547;
controversy with H. Lee, 515;
Notes on Virginia, 650, 711, 712;
on Cresap, 711.
Jefferys, Gen. Topog. of No. Amer., 696;
plan of Boston, 209;
Province of Quebec, 215;
charts of the St. Lawrence, river and gulf, 215.
Jeffries, Dr. John, on Gen. Warren's death, 194.
Jening, Levi, 47.
Jenkins, Howard, Gwynedd, 436.
Jenkins, H. M., on Brandywine, 419.
Jenkins, Steuben, on Wyoming, 665.
Jenkinson, C., 76.
Jennings, Edmund, 109.
Jennings, Isaac, Memorials of a Century, 355.
Jennys, Richard, 71.
Jenyns, Soame, his Objections to Taxation, 75.
Jephson, Mrs., 276.
Jesse, Etonians, 516.
Jesuits in Kaskaskia, 717, 720.
Johnson, Crisfield, Erie County, 670.
Johnson, Col. Guy, 142;
succeeds Sir Wm. Johnson, 612;
favors use of Indians, 613;
the object of suspicion, 618;
fortified his house, 619;
confers with the Indians at Fort Stanwix and Oswego, 619;
at Ontario, 619;
instructed to have the Indians prepared for service, 620;
his war-belt, 624;
goes to Connecticut, 605;
his map of the country of the Six Nations (1771), 609;
correspondence with Haldimand, 654;
persuading Indians to join the British, 655.
Johnson, Jeremiah, 329.
Johnson, Sir John, urging the Indians to take sides, 615;
his position, 624;
arrested, 625;
flies to Canada, 625;
Life of, 625;
at Oriskany, 630;
raids in the Mohawk Valley, 634, 644;
in the Schoharie Valley, 644;
exped. into N. Y. 672;
in St. Leger's campaign, 299;
life of, by J. W. de Peyster, 351.
Johnson, Jos., Traditions of Amer. Rev., 514.
Johnson, R. M., 707.
Johnson, Dr. Samuel, his appearance, 109;
Taxation no Tyranny, 109;
Hypocrisy unmasked, 102.
Johnson, Stephen, 203.
Johnson, Wesley, 665.
Johnson, Sir Wm., life by Stone, 247;
his tact, 605;
labors to prevent outbreaks, 607, 608;
dies, 612;
acc. of, 648;
his estimate of Indian warriors, 651;
makes a treaty (1764) at Niagara, 698;
letters to Lords of Trade, 704;
the Western Indians, 706, 707.
Johnson, Wm., Sketches of life of Gen. Greene, 510, 511;
reviews of, 511.
Johnson, W. S., and the Wilkes turmoils, 28;
in the Congress of 1765, 74;
on feelings in England during the Stamp Act times, 75;
describes debates in Parliament, 85;
predicts independence, 85;
a patriot, 241.
Johnston, Alexander, Representative Amer. Orations, 107;
on the Cincinnati, 746.
Johnston, Capt., in the navy, 575;
in the "Lexington", 575;
surrenders to the "Alert", 575.
Johnston, Henry P., "Yale in the Revolution", 189;
on R. J. Meigs, 219;
his map of Long Island, 328;
Campaign of 1776, 331;
plan of New York Island, 331, 335;
on Nathan Hale, 334;
on Col. Varick, 460;
on De Kalb, 530;
his plan of battle of Camden, 531;
on De Kalb, Gates, and the Camden campaign, 532;
Yorktown Campaign, 555;
on Stony Point, 558.
Johnston, Bristol and Bremen, 567.
Johnstown, Gen. Schuyler at, 624;
fight at, 646.
Jones, Brig.-Gen., 194.
Jones, C. C., Georgia, 679;
Sepulture of Greene and Pulaski, 510, 524;
Siege of Savannah in 1779, 522.
Jones, Ch. H., Campaign for the Conquest of Canada, 174.
Jones, Dr., of Boston, 47.
Jones, Gabriel, 716.
Jones, J. S., Defence of No. Carolina, 257.
Jones, John Paul, made lieutenant, 568;
cruising in the "Providence", 570;
in the "Alfred", 571;
captures the "Mellish", 571;
displays the national flag, 571;
acc. of him, 576;
takes the "Drake", 577;
descent on the Scotch coast, 577;
his letter-books, 577;
in the "Bon Homme Richard", 577, 590;
her log-book, 590;
her flag, 590;
engages the "Serapis", 578, 590;
goes into the Texel, 578;
effect in England, 590;
seeks the French service, 579;
in the "Alliance", 583;
life by J. F. Cooper, 589;
other lives, 589;
life purporting to be by himself, issued in French, 590;
figures in Cooper's Pilot and Dumas' Capitaine Paul, 590;
in the "Ranger", 590;
her log, 590;
his letters, 590;
claims on the U. S., 591;
causes diplomatic embarrassments, 591;
portraits, 592;
medals, 592;
Houdon's bust, 592.
Jones, Lieut., 627.
Jones, M. M., on Cornstalk, 714.
Jones, Pearson, 146.
Jones, Pomroy, Oneida County, 351.
Jones, Skelton, Virginia, 515.
Jones, Thomas, the loyalist, his cynical character, 467.
Jordan, S., 227.
Joy, Arad, of Ovid, N. Y., 467.
Judges paid by the king, 54;
tenure of office in England, 4;
in America, 4.
Judson, L. C., on the signers of Decl. of Indep., 266.
Jumel, Madam, 284.
Kalb. See De Kalb.
Kalm predicts the Amer. revolt, 686.
Kanadalauga, 669.
Kapp, Frederick, Die Deutschen im Staate New York, 351;
Life of John Kalb, 530;
Leben des Generals Kalb, 530;
Life of Steuben, 515.
Kaskaskia 730, 738;
Jesuits at, 720;
captured, 720;
references, 722;
Kaye, G. W., Indian Officers, 516.
Kearney, Maj., surveys of Yorktown, 553.
Kemble, Peter, 123.
Kennebec expedition (1775), led by Arnold, 217;
used surveys by Montresor, 217;
Indians join, 655;
maps of the route, 217;
references, 217;
letters, 218;
Arnold's journal, 218;
other journals, 219;
orderly-books, 220;
list of officers, 220;
lists of men and of the losses, 220.
Kennedy, Patrick, Journal, 701.
Kennedy, Samuel, surgeon, 325, 359.
Kennett Square, Pa., 381, 415.
Kent, Benj., 47.
Kenton, Simon, 708.
first log cabin, 715;
made a county of Virginia, 716;
forts in, 739.
Ketchum, Silas, edits Mrs. Walker's Events in Canada, 222.
Ketchum, Wm., Buffalo, 648.
Kettell, John, at Bunker Hill, 202.
Kettle Creek, 520.
Kickapoos, 703,
Kidder, Frederick, Military operations in Eastern Maine, 564, 657;
acc. of him, 657.
Kimball, James, orderly-book (1777-1778), 360.
King, C., on Monmouth, 446.
King, David, 219.
King, D. P., 184.
King, Gen. Joshua, on André's captors, 466.
affair at (1781), 561.
King's Ferry (Hudson River), 456.
King's Mountain, battle, 479, 535, 536, 677;
forces and losses, 535;
no good plan, 536;
view, 536;
diagrams, 536.
Kingsley, J. L., Hist. address, 93;
on Ezra Stiles, 187.
Kingston, Duchess of, 112.
Kingston, Fort, 664.
Kingston, Lt. Col. (1777), 366.
Kingston, N. Y., senate house, 274;
burned (1777), 364.
Kinnison, David, 91.
Kirke, Edmund, pseud. for J. R. Gilmore.
Kirkland, J. T., 672;
sketch of Gen. Lincoln, 513.
acc. of, 674;
life by S. K. Lothrop, 274, 659;
his account of siege of Fort Stanwix, 351.
Kirkwood, Capt., his journal, 545.
Kitanning, 609.
Kitchin, Thomas, map of N. Y., 333, 349;
map of Philad., 442.
Kloster-Zeven, convention of, 322.
Knight, Dr. (with Slover), Narrative, 736.
Knight, Lieut. John, 364.
Knower, Daniel, 466.
attacks at Harlem, 285;
his scouts in Charlestown Mass. (1776), 153.
Knox, Gen. Henry, his acc. of Brandywine, 419;
his report on the Continental army, 588;
misconceived later, 588;
brings cannon from Ticonderoga, 156;
his letters, 156;
autog., 156;
on Germantown, 421;
headquarters in N. Y., 276;
last general officer of the army, 746;
suggests the Cincinnati Soc., 746.
Knox, Wm., Claim of the Colonies, 75;
Controversy between Great Britain and her Colonies, 83;
The justice and policy of the late act, 104.
Knyphausen, Gen., at Fort Washington, 289, 338, 345;
autog., 289;
at Brandywine, 381;
in command in N. Y., 559;
on the Delaware, 430;
at Haddenfield, 442;
at New Rochelle, 286;
at King's Bridge, 286;
his quarters in N. Y., 331;
at Trenton, 411.
Kosciusko, Thaddeus, fortifies Bemis Heights, 304;
at Ninety-six, 491;
portraits, 492;
memoir by Evans, 492;
his claims, 492.
Kriegstheater in Amerika, 341.
Kulp, Geo. B., Families of the Wyoming Valley, 664.
L'Amoreaux, J. S., address, 366.
La Chesnais, edits Blanchard's journal, 554.
La Corne, St. Luc, with Burgoyne, 294.
La Tour, Brionde, Théâtre de la Guerre, 416.
Lacy, Gen. John, 393;
Papers, 216;
at Valley Forge, 436.
Lafayette, his view of the English observance of the Saratoga convention, 321;
joins the army, 380;
wounded at Brandywine, 382, 418;
headquarters, 419;
his attack at Gloucester, N. Jersey 389, 430;
proposed for command of an expedition to Canada, 392, 447;
first sits at council of war, 417;
account of Arnold and André, 466;
marches south, 496;
in Richmond, 496;
map of his fight with Cornwallis, 538;
in Virginia, 547;
his Mèmoires, 547;
at Yorktown, 555;
plans an invasion of England, 577;
in R. I. campaign (1778), 593, 601;
his letters, 593;
visits Boston, 595;
his plan of Narragansett Bay, 600;
his plan of Rhode Island, 602.
Lake Pontchartrain, map, 702.
Lake. See names of lakes.
Lally, Thomas, 227.
Lamb, Col. John, 670;
at West Point, 460;
his artillery company at Quebec, 220.
Lamb, Roger, Journal of Occurrences, 198, 360, 518, 532;
Memoirs, 360.
Lambdin, A. C., 423.
Lamoth, Capt., 728. See La Mothe.
Lancaster, Pa., Congress at, 383.
Lancaster County, Pa., massacre in, 606.
Land grants, fraudulently obtained from the Indians, 607, 608.
Landaff, Bishop, his sermon (1767), 76;
answered by Livingston, 76;
a Vindication, 76.
Landais, Capt., in the "Alliance", 577, 578;
insane, 579;
his Memorial, 590;
Charges and Proofs, 591;
acc. by E. E. Hale, 591;
his claims, 591.
Lane, Capt. John, 614.
Lane, S. E., 714.
Langdon, John, in Canada, 227.
Langdon, Rev. John, sermon on Lexington, 180.
Langdon, Samuel, election sermon, 131;
Map of N. Hampshire, 217.
Langworthy, Edward, Chas. Lee, 407.
Lareau, Litt. Canadienne, 216.
Larned, Miss, Windham County, 193.
Lathrop, John, sermon on Boston Massacre, 88.
Latrobe, H. B., life of Chas. Carroll, 266.
Laurens, John, Lt.-Col., at Germantown, 385;
on the Delaware, 431;
at Monmouth, 446;
challenges Lee, 446;
at Charleston (1780), 525.
Lauzun, Duc de, Mémoires, 560.
Lawrence, Eugene, 559.
Leach, John, 204.
Learned, Gen., at Bemis Heights, 304;
at Freeman's Farm, 316.
Leboucher, La Guerre de l'Indépendance, 560.
Lecky, on Bunker Hill, 198;
on siege of Boston, 173;
England, etc., 68.
Ledyard, Col., his career, etc., 562;
killed, 562.
Lee, Andrew, diary, 417.
Lee, Arthur, A True State of the Proceedings, 106;
An Appeal to the People of Great Britain, 106, 109;
on the news of Lexington, 175;
helps in writing the Liberty Song, 86;
Political Detection, 88;
trying to secure powder for Virginia, 168.
Lee, Chas., Strictures on a Friendly Address, 106;
at Cambridge, 144;
correspondence with Burgoyne, 144;
his headquarters in Medford, 144;
sent to New York (1776), 156;
his letters at this time, 156;
in Virginia, 168;
in South Carolina, 168;
letters during siege of Boston, 203;
report on defence of Sullivan's Island, 229;
in New York, 275;
on the fortifications of New York, 325;
refuses to follow Washington into the Jerseys, 368, 403;
autograph, 370;
following Clinton, 398;
dismissed from the army, 400;
exchanged, 403;
his criticism of Washington, 403, 446;
his conduct suspicious, 403;
as "Junius", 406;
his house in Virginia, 407;
lives of, 407;
Papers, 407;
the campaign of 1777, 416;
his treason, 416;
his vindication, 446;
corresponds with Washington, 446;
duel with Col. Laurens, 446.
Lee, C. C., 515.
Lee, F. D., Hist. Rec. of Savannah, 519.
Lee, Francis Lightfoot, autog., 266;
life, 266.
Lee, Capt. John, 592.
and his legion, 484;
on Rawdon's communications, 487;
joins Marion, 487;
at Augusta, 490;
at Ninety-Six, 491;
at the Eutaws, 545;
retires, 545;
War in the Southern Dept., 509;
edited by H. Lee, 509;
by R. E. Lee, 509;
called "Legion Harry", and "Light Horse Harry", 509;
portraits, 509;
severe on Jefferson, 515;
controversy, 515;
at Yorktown, 555;
(son of "Legion Harry") his Campaign of 1781, 511;
Observations on Jefferson, 515;
on the capture of André, 466;
attacks Paulus Hook, 559.
and the Stamp Act, 29;
supports com. of correspondence, 56;
address to people of Great Britain, 100;
drafts address of Congress of 1775, 108;
moves for independence, 238;
not on the committee to draft the Declar. of Independence, 239;
his resolutions of June 7th preserved, 261;
references, 261;
autog., 265;
life, 266;
on Trenton, 407.
Lee, Major Wm., 204;
Legal adviser, 729.
Leiste, C., on the British colonies, 341.
Leitch, Col. Thomas, 171, 285.
Leith, John, Narrative, 682.
Le Marchant, Walpole's George III., 75.
Lemoine, Maple leaves, 223;
Picturesque Quebec, 223.
Leney, W. S., 107.
Leonard, Daniel, The present political state, etc., 110;
The Origin of the Amer. Contest, 110;
Massachusettensis, or a series of letters, 110;
references, 112.
Leslie, Col., at Salem, 119, 172.
Leslie, Gen., attacks Chatterton Hill, 286;
at Charleston, S. C., 507;
proposes a truce, 545;
marches to the Carolinas, 536;
at Princeton, 378;
Lesperance, J., Bastonnais, 223.
Levasseur, A., Lafayette en Amérique, 194.
Levinge, R. G. A., Monmouthshire Light Infantry, 198.
Lewis, Gen. Andrew, leads exped. against Indians, 713;
at Point Pleasant, 713;
in Virginia, 168;
his Order-book, 168.
Lewis, Col., of Virginia, 679.
Lewis, Francis, autog., 264; life, 265.
Lewis, Morgan, life of Francis Lewis, 265.
Lewis, S., 338.
Lewis, Chester Co., 419.
Lexington, Ky., 708; named in commemoration
of the fight in 1775, 178.
Lexington, Mass., march to, 123;
Percy's reinforcements, 123;
effect of the news in England, 125;
authorities, 174;
depositions, 175;
fac-simile of John Parker's, 176;
which fired first? 175, 183;
news of the fight in London, 175;
its effect, 178;
the news sent South, 178;
Bloody Butchery, 178;
plan of Lexington, 179;
Clarke house, 179;
British accounts, 180;
Circumstantial Account, 180;
losses, 182;
alarm rolls, 182;
loss of property, 182;
disputes with Concord, 183;
depositions of survivors, 184;
Centennial Souvenir, 184;
view of Lexington Green, 185;
the fight in fiction, 185;
relics, 185.
See Concord.
"Liberty" sloop seized, 43.
Liberty Song, 86; Tree in Boston, 72;
in other places, 72.
Lincoln, Benjamin, at Charleston (1779), 469;
his order-books, 469, 522, 554;
at Savannah, 470, 519, 522, 523;
withdraws, 471;
autograph, 473;
portrait, 473;
lives, 513;
his letters, 513;
coöperates with D'Estaing, 513;
surrenders Charleston, 474, 513;
defends his conduct, 524;
drove off the last ship from Boston, 160;
in Burgoyne's campaign, 299, 359;
acting on Burgoyne's communications, 304;
on New York Island (1781), 499;
account of Bennington, 354;
attack on Stono, 520;
with Gates (1777), 307.
Lincoln, Wm., ed. Journals of Mass. Prov. Cong., 180.
Lind, John, Answer to the Decl. of Indep., 269.
Lindsay, Lord, on Germantown, 423.
Lindsay, W., Invasion of Canada, 223.
Linn, Buffalo Valley, 446.
Linquet, 366.
Lippincott, Capt. Richard, 744.
Litchfield, Paul, 203.
Little, Moses, 326.
Livermore, Daniel, 668.
Livermore, Geo., Hist. Research, 85.
Liverpool, Eng., 563.
Livesey, R., 575.
Livingston, Col., at Freeman's Farm, 316.
Livingston, Henry B., 359;
orderly-book (1777), 359.
Livingston, Col. James, before Quebec, 165.
Livingston, Philip, The other side of the question, 106, 108;
autog., 264;
life of, 265.
Livingston, R. R., intercedes for Arnold, 452;
in Canada, 227;
on com. to draft Declar. of Indep., 239;
on Stamp Act, 73.
Livingston, Gov. Wm., his papers, 359;
Collection of Tracts, 83;
corresponding with Sam Cooper, 83;
Letter to Bishop of Landaff, 76;
his silhouette, 84.
Lloyd, Charles, 49;
sec. to Grenville, 75;
Conduct of the late administration examined, 76.
Locke, Col., 475.
Lockwood, David, 472.
Lockwood, James, 178.
Lodge, Lieut. Benj., map of Sullivan's route (1779), 681.
Lodge, John, 212.
Loftus, Maj. Arthur, on the Mississippi, 701.
Logan, Col., at Blue Licks, 730.
Logan, James, his house, 429.
Logan, J. H. Upper country of So. Carolina, 536.
Logan Historical Soc., 713;
American Pioneer, 713.
Logan (Indian), his speech, 711, 712.
Logtown, N. C., 543.
London Gazette, 516.
Long, J., Indian interpreter, 649.
Long, Voyages, 741.
Long Island, battle of, 326;
movements of, 329;
British strength at, 330;
bibliography of, 329;
the British land on, 326;
Hessian map of battle, 327;
See Brooklyn.
Long Island Sound, whale boat warfare in, 591.
Longchamps. Histoire impartiale, 555.
Longfellow, H. W., occupies Craigie House, 142;
Paul Revere's Ride, 173.
Longfellow, Samuel, Life of H. W. Longfellow, 142.
Lord, W. W., play on André, 464.
Loring, Geo. B., on Leslie's expedition, 172.
Loring, J. S., Hundred Boston Orators, 107.
Lossing, B. J., 197; on Arnold, 220;
on Daniel Boone, 708;
Field-book of the Rev., 659;
edits Lyon's Mil. Journal, 178;
on the signers of the Decl. of Indep., 266;
on Putnam, 193;
on the Revolutionary navy, 589;
Two Spies, 464;
on Arnold's treason, 464;
United States, 659;
Seventeen hundred and seventy-six, 659;
on Quebec, 223.
Lothrop, Isaac, 187.
Lothrop, S. K., Samuel Kirkland, 659, 674.
Louisiana, ceded (1762) to Spain, 686;
Ulloa in, 737;
a republic tried, 737;
French forts in, 699.
Lovell, James, 88;
imprisoned, 204;
on Burgoyne's advance, 348;
the Conway Cabal, 392;
on Howe's movements, 416;
on Washington, 421.
Lovell, Gen. Solomon, in Penobscot expedition, 582;
autog., 603;
quarrels with Saltonstall, 603;
his Journal, 603;
life by Nash, 603;
acquitted court of inquiry, 604.
Lovewell, John, 681.
Low, Nath., Astron. Diary, 178;
map from, 342.
Lowell, E. J., 411;
introduction to Pausch's journal, 360.
Lowell, Jas. Russell, Concord Ode, 184;
his house, 115.
Lowell, John, on the Bunker Hill controversy, 191.
Lowell, Robert, "Burgoyne's last march", 357.
Lownes, C., 207.
Loyalists in Boston, organized into battalions, 153;
leave Boston with Howe, 158;
leave Charleston and Savannah, 546;
discouraged by Trenton, 407;
military organizations in Philad., 395.
See Tories.
Lunt, Paul, 203.
Lushington, S. R., Lord Harris, 183.
Lynch, Thomas, 264;
life, 265;
autog., 266.
Lynch's Creek, 476.
Lynde, Judge Benj., portrait, 86;
Diary, 86;
autog., 50.
Lyons, L., Mil. Journals, 178.
Lyttelton, Lord, A letter to Chatham, 104.
M'Gauran, Major Edward, 360.
Macaulay, Catharine, Observations, 88;
on Chatham, 685.
Macdonald, Flora, 168.
Machias, Me., affair of the "Margaretta", 564.
Machigwawish, 738.
Machin, Thomas, map of the Hudson River, 455.
Mackay, Capt. Samuel, Narrative, 360.
Mackenzie, Alex. S., Life of Paul Jones, 590.
Mackenzie, John, 79.
Mackenzie, Roderick, Strictures on Tarleton, 517;
answered, 517;
on Cowpens, 538;
wounded at Cowpens, 541.
Macpherson, James, Rights of Great Britain Asserted, 109, 269.
Madison, James, 259.
Magaw, Robert, on Fort Washington, 341;
letter (Cambridge), 203.
Magnolia, a Georgia periodical, 519.
Mahem, Marion's lieutenant, 545.
Mahem towers, 491.
Mahon, Lord (Earl Stanhope), on Bunker Hill, 198;
condemns André's execution, 467;
on the Decl. of Indep., 269.
Mahoning, 643.
Maine, H. C., Burgoyne's Campaign, 366.
Maine created as the province of New Ireland, 604.
Maisonville, Francis, 729.
Maitland, Col., at Savannah, 470, 520;
dies, 524.
Majabigwaduce, 604.
Malcolm, Daniel, his house assailed, 68.
Malmedy, autog., 500;
fortifies Narragansett Bay, 593.
Mamaroneck, 337.
Manchac, 739.
Manchester, N. H., 190.
Manly, Capt. John, captures Crean Brush, 205;
takes prizes, 565;
the first to show a Continental flag, 565;
driven into Plymouth, 565;
second captain in rank, 570;
captures the "Fox", 579;
loses the "Hancock", 579;
cruises in the West Indies in "The Hague", 584.
Mann, Herman, Female Review, or Life of Deborah Sampson, 191.
Manors in N. Y., 340.
Mansfield, his speeches, 112;
Plea of the Colonies on the charges of Mansfield and others, 112.
Manufactures prohibited in the colonies, 6;
Manwaring, Edw., 86.
Marblehead (Mass.), Glover's regiment, 375, 565.
Marbois, Complot d'Arnold et Clinton, 463;
translated in American Register, 463.
Marbury, Col. Leonard, 676.
Marcus Hook, 415.
"Margaretta", affair of, 564.
Marion, Francis, 511;
lives, 512;
portraits, 512;
his relations with Greene, 490;
at Fort Watson, 544;
discouraged, 544;
pursued by Tarleton, 480.
"Marion's men", 490.
Marsh, Luther R., Gen. Woodhull, 330.
Marshall, Christopher, diary, 260, 273, 404, 436, 447;
his acc. of the reading of the Decl. of Indep. in Philad., 273.
Marshall, Col., of Boston, 47.
Marshall, John, at Brandywine, 418;
at Germantown, 422;
his account of Wyoming, 663.
Marshall, O. H., Niagara Frontier, 658.
Marshfield, Mass., garrisoned, 118.
Martin, D., engraved the earliest American plan of Bunker Hill, 200.
Martin, gov. of No. Carolina, 168.
Martin, Joseph, 677.
Martin, J. S., Revolutionary Soldier, 329.
Martin, Luther, 712.
Martin, Gazetteer of Va., 554.
Martin, No. Carolina, 678.
Martler's Rock, 323.
Maryland, in the Continental Congress, 234;
effect of Boston Port Bill in, 96;
militia in (1774), 117;
movements (1774), 98;
Stamp Act in, 73; troops, 485;
at Hobkirk's Hill, 488;
at Camden, 533;
at Guildford, 541.
Masères, Francis, Essays, 90;
Account of the proceedings, 104;
Additional Papers, 104;
Canadian Freeholder, 104.
Mason, Col. David, 119.
Mason, Edw. G., Todd's Record Book, 730;
Spaniards in Illinois, 743;
Kaskaskia, 723;
on Fort Chartres, 706.
his house, 259;
Virginia Decl. of Rights, 272;
references, 272.
Mason, G. C., on the English fleet in Newport, 593;
on war vessels in Narragansett Bay, 90.
Mason, Jonathan, 88.
Mason, Thaddeus, 187.
Massachusetts, circular letter (1768), 2, 42, 79;
causes of the Revolution in, 18;
character of her governors, 22;
its fisheries, 25;
trade with the West Indies, 26;
the Stamp Act, 29;
refuses to rescind the circular letter, 44;
calls a convention (1768), 45;
protests against the military occupation of Boston (1769), 47;
legislature moved to Cambridge, 47;
adopts intercolonial com. of correspondence, 56;
bill for regulating the government, 58;
legislature at Salem, 58;
Answer of the major part of the Council, 67;
Speeches of the governors, 1765-1775, and the answers of the House of Rep., 67;
Journals of the House, 67;
her letter to Rockingham, 83;
Reply to Hutchinson (1773), 90;
petition to the king for the removal of Hutchinson, 95;
Americans in London oppose the Regulating Act, 97;
debate in Parliament, 97;
Bill for the impartial administration of justice, 97;
Solemn League and Covenant, 97, 98;
action taken for a Congress (1774), 99;
her assembly becomes a provincial congress, 116;
Journals of the Provincial Congress, 106;
articles of war, 108;
form of her government (1775) approved by Congress, 108;
ceases to be called province, 108;
provincial congress chooses general officers, 116, 243;
militia, 116;
second provincial congress, 118;
empowers Com. of Safety to gather the militia, 119;
provincial congress, 120;
meets (May, 1775), 131;
warns (June 17, 1775) the militia, 133;
the doings of the provincial congress, approved by the Continental Congress, 134;
Com. of Safety send acc. of Bunker Hill to England and elsewhere, 187;
in the Cont. Congress, 234;
sets up its autonomy, 237, 257;
Centennial of the Constitution, 274;
frames a constitution, 274;
Report on a Constitution, 274;
other publications, 274;
sends mast timber to Charles II, 564;
ships owned in, 564;
commissions a naval force (1775), 565;
her force in 1779, 579;
sends expedition against Penobscot, 582;
commissioned in France, 587;
her losses at Penobscot, 586;
her number of men at sea, 587;
her legislation about privateers, 591;
their captures, 591;
troops in R. I. (1778), 601;
issues bills to defray cost of Penobscot expedition, 603;
military rolls of the exped., 603;
Stockbridge Indians enlisted by, 612;
their plea of justification, 612, 613;
seek to enlist the Nova Scotia Indians, 614;
treaty with them, 614;
Journals of its provincial congresses, 656.
Massachusetts Gazette, 110.
Massey, England, 112.
Masts, timber for, 564.
Mathew, Geo., 560.
Matson's Ford, 425.
Matthewman, Luke, 581.
Matthews, David, 326.
Matthews, Gen., invades New Jersey, 559;
in Virginia, 546.
Matthis, Samuel, Hobkirk's Hill, 542.
Mattoon, Gen. Ebenezer, on Burgoyne's surrender, 358.
Mauduit, Israel, 83;
Short View, etc., 85;
edits the Hutchinson letters, 93;
on Bunker Hill, 195;
on Gen. Howe, 329;
Howe at White Plains, 337;
Three Letters to Howe, 195, 337, 344;
on the Mischianza, 436;
agent of Mass., 28.
Maverick, Peter, 266.
Mawhood, Col., 378.
Maxwell, Gen., 380; at Morristown, 373;
his brigade, 670.
Maxwell, Major Thompson, 190.
Maxwell, Thomas, 663.
Maxwell on Arnold's fight on Lake Champlain, 346.
May, Thomas E., Const. Hist. England, 75.
Mayer, Brantz, edits Carroll's journal, 227;
Logan and Cresap, 712;
Tah-Gah-Jute, 712.
Mayhew, Jonathan, his controversy with Apthorpe, 70;
his Unlimited submission to the higher powers, 70;
Observations, in reply to Apthorpe, 70;
Defence of Observations, 70;
Remarks, 70;
his portraits, 71;
references on his career, 71;
suggests union of colonies, 89;
view of his meeting-house, 151, 197;
controversy with Secker, 243;
sermon on the Stamp Act, 77.
Maynard, Needham, 189.
McAlpine, Memoirs, 360.
McBury, Col. Leonard, 676, 678.
McCall, Hugh, lives of Lyman Hall, Button Gwinnett, 265;
George Walton, 265;
McCall, Capt. James, 679.
McClean, Capt., 443.
McClellan, Capt. Jos., journal, 561.
McClure, diary, 180.
McConkey, Mrs., Hero of Cowpens, 511.
McCoy, John F., publishes ed. of proceedings of the André examination, 461.
McCoy, Sergeant, 219.
McCrea, Miss Jane, murder of, 627;
her Life, 627.
McCurlin, David, 202.
McDonald, Capt. Angus, goes against the Indians, 713.
McDougall, Gen., at Chatterton Hill, 286;
at Germantown, 385;
at West Point, 557.
McDowell, Col. Chas., 478.
McDowell, Jos., portrait, 535.
McGill, Maj., on Camden, 530.
McGowan's Pass (N. Y.), 338, 339.
McHenry, James, 446.
McKean, Thomas, on the Congress of 1765, 74;
life, 265;
signed the Decl. of Indep., 168;
autog., 265.
McKendry, Wm., Journal, 666.
McKenney and Hall, Indian Tribes, 625.
McKenzie, Alex., on Cambridge, 142;
on Lexington, 184.
McLane, Capt. Allen, 385, 393, 398.
McNiel, Capt., in the navy, 570.
McNeill, Gen., commands at Penobscot, 603.
McRae, Sherwin, 515.
McRae, Life of James Iredell, 532, 537.
McReath, Dr., 729.
McVeagh, Wayne, on Paoli, 419.
Mecklenburg Declaration of Independence, 256;
autographs of the committee, 256;
disputed questions, 256.
Medcalfe, map of Burgoyne's campaign, 349.
Meigs, Return J., Expedition against Quebec, 219;
accounts of, 219;
expedition to Sag Harbor, 591;
his character, 591.
Mein, John, Boston, 83;
proscribed, 78;
State of the importation, etc., 78.
Mellish and Tanner, Seat of War, 416.
Melville, Herman, Israel Potter, 590.
Melvin, J., Expedition to Quebec, 219.
Mendon (Mass.), resolves of independence, 257.
Ménonville, M. de, journal at Yorktown, 554.
Mercer, Charles Fenton, 707.
Mercer, Gen. Hugh, commands Flying Camp, 326, 403;
action of Congress, 412;
portraits, 412.
Merchants in England, and navigation laws, 64;
monopolies of, 7.
Meredith, Sir Wm., A letter to Chatham, 104.
Metcalfe, S. L., Indian Warfare, 708.
Meyer, E. L., Map of Elizabethport, 560.
Meyrick, Surgeon, 358.
Meyrick, S. J., 227.
Miamis, 610.
Micmacs, 614.
Middle colonies, maps of, 341.
Middlebrook, camp at, 556;
Washington at, 579.
Middleton, Arthur, life, 265;
life of Rutledge, 265;
autog., 266.
Mifflin, Gen. Thomas, 117, 203;
the Conway Cabal, 392;
leads militia into New Jersey, 376;
on the British lines at Boston Neck, 212.
Mifflin, Fort, abandoned, 447.
See Fort.
Miles, Samuel, 327.
Militia, in battle, 541;
organized, 108;
in Mass., 116;
in the Rev. War, 588.
Miller, Thomas, at Bunker Hill, 202.
Miller, W. T., 203.
Miller House, 338.
Mills, W. H., on the Kennebec route, 217.
Mills, Statistics of So. Carolina, 527.
Milltown, Pa., 381.
Miner, Charles, Wyoming, 664.
Mingo Bottom, 736.
Minisink massacre, 639, 653, 662;
loss, 662.
Minomines, 738.
Minot, Geo. R., 88.
Misère (Ste. Geneviève), 738.
Mississippi River as western boundary of the U. S., 730;
plan by Pittman, 702.
Mobile, Pittman's plan, 702;
captured, 739.
Moffat, of R. I., on Stamp Act debates, 74.
Mohawk River, 609;
map of the neighborhood, 351;
valley, 610;
Indian incursion, 672;
warfare in, 657.
Mohawks in Canada, 656;
irritated by the Conn. Co., 605;
their lands east of the boundary line, 610;
solicited, 120;
would protect Guy Johnson, 624.
Mohegans, 622.
Monckton, Lt.-Col., at Monmouth, 400.
Moncrieff, Col., 521;
at Savannah (1779), 524.
Monette, Valley of the Mississippi, 686.
Monk's Corner, 473.
Monmouth, battle, 399;
Monotomy, roads about, 121.
Monroe, James, at Trenton, 376.
Monson, Henry, map of Carolina, 675.
Montague, Admiral, 90.
Montague, Lord, letter to Moultrie, 534.
Montgar (Armstrong), 746.
Montgomery, Col. John, attacked by the Cherokees (1760), 675;
at Kaskaskia, 740.
Montgomery, Gen. Richard, urges advance into Canada, 161;
made brigadier, 161;
advances on St. Johns, 161;
before St. Johns, 162;
captures Fort Chamblée, 162;
takes St. Johns, 162;
has Indians, 656;
takes Montreal, 163;
at Pont-aux-Trembles, 164;
attacks Quebec, 165;
in the Canada campaign, authorities, 216;
despatches, 216;
lives, 216;
his sword, 216;
his house, 216;
ancestry, 216;
death and burial, 165, 216, 226;
remains removed to New York, 216;
tributes of Congress, 216;
his monument, 216;
tragedy by H. H. Brackenridge, 216;
autograph note on capitulation of St. Johns, 217;
signatures of his will, 218;
Trumbull's "Death of Montgomery", 220.
Monthly Military Repository, 510.
Montreal, Guy Johnson's conference at, 624;
position of, 215;
taken by Montgomery, 163, 216.
Montresor, Capt. John, plan of Boston, 210;
maps of the English colonies, 341;
account of, 341;
plan of Charlestown, Mass., 198;
survey of Bunker Hill field, 200;
plans of New York, 326, 331, 333, 561;
map of the northern region of N. Y., 349;
his journal ed. by Scull, 413, 419;
map of defences of Philad. (1777), 441;
accounts of his family, 217;
map of Kennebec route, 217, 224;
journal on the Kennebec, 217;
Map of N. Y. and Penna., 416;
map of Newport, 560.
Moore, F., Diary of the Amer. Rev., 654.
Moore, Geo. H., Treason of Chas. Lee, 407, 416.
Moore, Hugh, Ethan Allen, 214.
Moore, Sir Henry, 38.
Moore, Thomas, Life of Sheridan, 109.
Moore, T. W., aide to Prevost, 522.
Moore's Creek Bridge, action at, 168;
references, 168.
Moorsom, Fifty-second Reg., 198.
Moravian Indians, 606;
sent to New York, 607;
protected by Gen. Gage, 607;
missions among, 734;
attacked by British, 734;
removed to Sandusky, 735;
at Detroit, 735;
lands in Michigan, 735;
general references, 736.
See Indians.
Morgan, Gen. Daniel, on the Kennebec exped., 162;
captured at Quebec, 165;
his account of the attack, 222;
at Freeman's Farm, 305;
headquarters at Saratoga, 358, 360;
threatens Cornwallis' flank in Carolina, 481;
pursued by Tarleton, 481;
his differences with Sumter, 537;
his correspondence, 538;
The Hero of Cowpens, 360;
medal, 539;
in New Jersey, 398;
his lives, 511;
his grave, 511;
portraits, 511;
statue, 511;
his house, 511.
Morgan, Col. George, 704.
Morgan, Dr. John, 203.
Morgan, L. H., League of the Iroquois, 659.
Morgann, Life of Price, 110.
Morley, Henry, edits Burke's Speeches, 112;
Edmund Burke, 269.
Morris, Gouverneur, Observations on the Amer. Rev., 556.
Morris, Jacob, 169.
Morris, Lewis, letters from Cambridge, 203;
autog., 264;
life, 266;
on Greene, 537.
Morris, Margaret, diary, 436.
Morris, Robert, autog., 264;
life, 265;
on the campaign of 1776, 344;
(in 1776), 376;
on Charles Lee's capture, 403;
letters, 404;
his privateers, 591.
Morris, Col. Roger, his house, 288, 339.
Morris, Capt. Thomas, sent to Pontiac, 698;
his Miscellanies, 698;
his journal, 698.
Morrisania, 344;
English works at, 561.
Morristown, orderly-books, 559;
Washington at, 417.
Morsman, Oliver, Bunker Hill, 189.
Mortier House in N. Y., 276, 335.
Morton, John, autog., 264;
life, 265.
Morton, Perez, on Gen. Warren, 194.
Morton, Robt., his diary, 431, 436.
Mott, Edw., journal, 213.
Mott, Samuel, letters, 216.
Moultrie, Gen. Wm., his acc. of the defence of Fort Moultrie, 229;
at Sullivan Island, 168;
Memoirs, 171;
references, 172;
defends Charleston (1779), 470;
his campaign (1778), 520;
fac-simile of his order to Tucker, 471;
his affair near Beaufort, 519;
his career, 508;
sketches of, 508;
Memoirs of Amer. Rev., 508;
on the siege of Charleston, 525;
refused command of a Tory regiment, 534;
correspondence with Lord Montague, 534.
Moultrie, Fort (1776), plans, 169, 170;
abandoned (1780), 472.
See Fort, Sullivan's Island.
Mountfort, G., on John Hancock, 271.
Mouzon, H., map. of Carolinas, 538.
Mowatt, Capt., with British vessels at Penobscot, 603.
Mud Island in the Delaware, 432, 435;
Mugford, Capt., 567;
killed, 160.
Muhheakunuks, 613.
Muhlenberg, Gen. Peter, 376;
at Brandywine, 382;
his life, 546;
at Yorktown, 555.
Muhlenberg, Rev. Dr., his journal, 404.
Muhlenberg, H. A., General Muhlenberg, 546.
Mukerck, Capt. Chas., journal, 681.
Mulgrave, Col., 426.
Mun, Thomas, 63.
Munroe, Nathan, 179.
Munsee towns, 606.
Munsell, Hezekiah, 329.
Munsey Indians, 671.
Mure, Capt. Wm., at Yorktown, 555.
Murray, James, Impartial History of the present war, much the same, in parts as The Impartial History of the War in America, 663.
Murray, Lindley, 284.
Murray House (N. Y.), 335.
Musgrave, Col., at Germantown, 385.
Muskingum, forks of, 699.
practically annulled in Mass., 46.
Muzzey, A. B., Lexington, 184;
Reminiscences, 173.
on the Tories, 351.
Naaman's Creek, Pa., 421.
Napier, Geo., 590.
Narragansett Bay, fortified, 593, 596;
chart by Blaskowitz, 593;
Lafayette's plan, 600;
English maps, 601.
Nash, Gen., of N. C., killed, 386.
Nash, Gilbert, Life of Gen. Lovell, 603.
Nash, Gov., on Camden, 532.
Nash, Samuel, diary of, 346.
Nash, Solomon, 202.
National Portrait Gallery, 510.
Naval Hist. of the American Revolution, 563.
See Navy.
aimed at the Dutch, 6;
history of, 7;
authorities, 64;
and writs of assistance, 19;
enforced by the Bute ministry, 23;
influence in producing the Revolution, 64;
and the Revolution of 1689 in N. E., 65.
Navy of United States, commissioned by Washington, 152;
vessels destroyed in the Delaware, 389.
See Naval.
Navy of England, men engaged in 1776, 588;
in 1777, 585;
in 1779, 587.
Nazro, John, 47.
Nederlandsche Mercurius, 570.
Neilson, Charles, Burgoyne's Campaign, 357, 360.
Nelson, Thomas, life, 266;
autog., 266.
Nelson, Thomas, Jr., 259;
Letters, 575.
Nelson, gov. of Va., on Yorktown, 544.
Neshaminy, 418.
Neutral Ground (Hudson River), 456.
Neversink, 340.
New Bedford, naval exploits of her people, 564.
New Brunswick, N. J., 408, 409.
New Castle, Del., 421.
New Dominion Monthly, 216.
New England, her great staples, 8;
her export trade, 9;
grows rich, 10;
trade with West Indies broken up, 25;
staples, 25;
imports molasses, 25;
jealousy of, in the Congress of 1774, 99;
population (1775), 117;
armed alliance (1775), 122;
Sam. Adams proposed her independence, 231;
Puritanism and the Am. Rev., 242;
opposition to bishop, 243;
a maritime country, 563;
her cruisers, 563;
ship-building, 563;
enriched by privateering, 584;
large numbers in the business, 584.
New Hampshire, Stamp Act in, 73;
change in its government (1775), 108;
people of the Grants aroused, 108, 121;
men at Bunker Hill, 190;
troops in the Canada exped., 220;
in the Continental Congress, 234;
constitution of, 272;
furnishes masts to England, 564;
her seamen, 587;
privateers of, 591;
"General Sullivan", 591;
troops in R. I. (1778), 601.
New Haven attacked, 557.
New Ireland (Maine), 604.
New Jersey, Stamp Act in, 73;
address to king (1769), 83;
her constitution, 272;
invaded (Jan., 1776), 323;
surveys by Sauthier and Ratzer, 341;
invaded and evacuated by Howe, 368, 379;
campaign in (1776), authorities, 405;
maps of, 409;
revolt of her soldiers, 561;
troops in Sullivan's campaign, 670.
New London, Conn., attacked by Arnold, 562;
privateers in, 585.
New Orleans, Pittman's plan, 702;
to be captured, 737;
letters from, 738.
New Providence attacked, 570.
New Rochelle, the British at, 286.
New Salem, N. Y., 458.
New Windsor, N. Y., 556;
camp, 744.
New York city, Stamp Act in, 73;
coffee-houses in, 73;
Burn's Coffee-House, 73;
"Sons of Liberty" in, 73;
old City Hall, 74;
com. of correspondence, 90;
effect of Boston Port Bill in, 96;
apathy in (1774), 98;
British navy at (1776), 153;
Lee sent to possess the town, 156;
artillery company formed, 156;
news of Lexington in, 178;
Lee in (1775), 275;
Washington arrives, 275;
Putnam in command, 275;
defences of (1776), 275;
army in, 275;
Washington's headquarters, 276;
spared by Howe, 283;
Americans leave it, 283;
Howe occupies it, 283;
partly burned, 285;
campaign round N. Y. (1776), criticism on, 290;
campaign about, 323;
condition of the town (1775), 323;
plans in the Revolution, 331;
appearance of the town, 331;
Randall's, 331;
descriptions of the town, 331;
views, 331;
localities, 331;
Beekman House, 331;
Rutger's mansion, 331;
Ratzer's smaller map, 332;
evacuated by Washington, 333;
occupied by Howe, 333;
various maps, 333;
extent of the armies about (1776), 333;
fire in, 334;
Mortier House, 335;
map of city and bay, 342;
maps of the campaign near (1776), 342, 343, 345;
accounts of, 341-346;
N. Y. City during the Amer. Rev., 346;
map of campaign about, 404;
Knyphausen in command, 559;
Washington's feint of attacking (1781), 501;
British in, 556;
British cantonments near, 745;
entered by Washington at the close of the war, 746;
evacuated, 746;
Fraunce's Tavern, 747;
its appearance at the end of the war, 747;
commerce of, 747.
New York harbor, maps of, in the Revolutionary time, 326.
New York province, maps of, 349;
Indians of, 611.
New York State, Assembly (1775), 106;
its character, 106;
proceedings, 106;
provincial congress, 106;
its records, 106;
constitutional convention, 272;
debates of, 272;
centennial of its constitution, 274;
Centennial Addresses, 366;
privateers of, 591;
Centennial Celebrations, 666;
Continental line organized, 220;
documentary publications, 247;
Journals of Provincial Congress, 247.
New York Magazine, 510.
Newark, Pa., 421.
addresses, 745;
Washington at, 744;
his headquarters, 744.
Newburgh Bay Historical Soc., 744.
Newell, Thomas, 95.
Newell, Timothy, 95.
Newman, Robert, 175.
Newport, R. I., blockaded by the English (1780), 560;
the French in, 560;
maps, 560;
diaries in (1778), 601;
maps of, and surroundings, 596, 597, 598, 600, 602;
memorial to Congress (1775), 108;
occupied by the British (Dec., 1776), 403;
occupied by Sir Henry Clinton (1776), 593;
seamen in the Revolutionary navy, 591.
Newport, Pa., 421.
Newspapers in the Revolution, 110.
Newton, Panhandle, 716.
Newtown (Elmira, N. Y.), battle at, 640, 668, 670;
accounts, 653;
Butler's report, 672;
map of battlefield, 642, 671, 681.
Newtown, Pa., 410.
Neyon, M., in Illinois, 700.
Niagara, not to be attacked by Sullivan, 669;
Indians at (1779-80), 643.
Nicholas, P. H., Royal Marine Forces, 194.
Nichols, Isaac, 204.
Nicholson, James, capt. in navy, 570;
in the "Trumbull", 583;
surrenders, 584.
Nicholson, Samuel, in the "Deane", 583.
Nicola, Col. Lewis, 440;
his letter to Washington, 745.
Nicoll, Isaac, 323.
Nicollet, J. N., 705.
Ninety-six, 478;
plans of, 545.
Ninham, Capt. Daniel, 613.
Noailles, autog., 500.
fight, 131.
Non-importation agreements, 23, 29, 31, 47, 49, 50, 51, 76, 77, 78, 79, 99, 106.
Nook's Hill (near Boston), 158.
Norfolk, Va., destroyed, 168.
engraving of Montgomery, 221;
engraving of Gates, 302;
engraving of burning of Falmouth, 146;
engraves Gen. Greene, 509;
Gen. Lincoln, 473;
Death of Montgomery, 217;
Death of Warren, 198;
plan of Bunker Hill, 201, 202;
plan of Boston, 201.
North, Lord, premier, 21;
autog., 21;
Chancellor of the Exchequer, 46;
conversations with Burke, 112.
North, S. W. D., "Story of a Monument", 351;
on Oriskany, 351.
North, Wm., acc. of Steuben, 515.
North, Augusta, Me., 217.
North American Pilot, 212.
North Carolina, in the Cont. Congress, 235;
defended by Iredell, 537;
effect of Boston Port Bill, 96;
the English fleet on the coast (1776), 168;
militia at Camden, 533;
militia fled at Guildford, 541;
movements (1774), 98;
(1776), 168;
non-importation, 47;
Stamp Act in, 73;
war of the Regulators, 80;
disputes about, 81.
North Carolina University Magazine, 514, 519.
North Castle, N. Y., 458.
Northwest territory reserved as crown lands (1763), 687;
government of, 730.
See Ohio country.
Norton, A. T., Sullivan's Campaign, 670.
Norton, J. N., Pioneer Missionaries, 657.
Norwalk, Conn., 340;
burnt, 557.
Nova Scotia Indians, 614.
Nunn, Lieut., 175.
O'Brien, Jeremiah, naval officer, 564.
O'Callaghan, E. B., edits Burgoyne's Order-book, 358, 359;
on George Croghan, 705;
on Stirling, 706;
on Cresap, 712.
O'Dane, 523.
O'Hara, Gen., follows the march of Greene, 484.
O'Key, Samuel, 40.
O'Reilly, Henry, Sullivan's Campaign, 671.
Ochs, Baron von, Betrachtungen über die neuere Kriegskunst, 446.
Ogeechee, attack at, 653.
Ogletown, Pa., 421.
Ohio Company, 707.
Ohio country, effect of the Quebec Bill, 715.
See Northwest Territory.
Ohio Indians, 610;
their towns, 699.
Ohio River, early settlers on, 708;
plan of rapids, 701.
Oliver, Andrew, deposition on Boston Massacre, 88;
his letters, 56;
stamp distributor, 72;
makes oath, 73;
portrait, 73.
Oliver, Peter, autog., 50;
letter from Boston, 205;
portrait, 95;
account of, 95;
diary, 205.
Ollier, Edmund, Cassell's United States, 665.
Olney, Stephen, 404.
Onderdonk, Henry, Jr., on the battle of Long Island, 330;
Woodhull's capture, 330.
Oneidas, their country, 609;
their lands, 610;
at White Plains, 613;
mostly took the American side, 623, 624, 659;
offer to become scouts, 626;
convey warning of St. Leger's coming, 628;
join Herkimer, 630;
their village burnt, 632, 658;
threatened by Haldimand, 639;
at Schenectady, 643;
failed to help Sullivan (1779), 667;
removed from their castles, 672;
proposed attack on, by Sir John Johnson, 672.
See Six Nations, Iroquois.
Onondagas, destruction of their villages, 639, 653;
their country, 609.
Ontario identified with Oswego, 619, 658.
Oquaga burned, 636.
Orangetown, 404.
Orcutt, coll. of newspaper scraps, 522.
Orion, a Georgia periodical, 519.
Oriskany, battle of, 631;
authorities, 351;
the first accounts, 660;
view of field, 354;
Indian loss at, 662.
Osborn, Sir Danvers, 673.
Osborn, J. H., 437.
Osgood, Samuel, 191;
address at Fairfield, 55.
Osler, Life of Exmouth, 347.
Ossabaw Sound, 470.
Oswego, attempted surprise by Col. Willett, 646;
known sometimes as Ontario, 658.
Otis, James, 84;
on writs of assistance, 9, 13, 68;
John Adams on, 68;
made member of the General Court, 13;
assumed the right to independence, 24;
in Stamp Act Congress, 30;
in the legislature, 42;
praises Oliver Cromwell, 44;
Vindication of the British Colonies, 70;
Considerations on behalf of the Eng. Colonies, 75;
speaking in the legislature (1768), 83;
at Bunker Hill, 137;
Rights of the British Colonies, 28, 68;
his passionate appeals, 35;
probably draws address to Bernard, 43;
presides at meeting (1768), 45;
Vindication of the conduct of the Ho. of Rep., 68;
Crawford's statue, 69;
likeness by Blackburn, 70;
his house, 70;
killed by lightning, 70;
Tudor's Life of Otis, 70;
Bowen's Life, 70;
his character, 70;
assaulted, 70.
Otsego Lake, Clinton at, 639.
Ottawa confederacy, 610.
Ouatanon, 703.
Paca, Wm., autog., 265;
life, 266.
Packard, G. T., 218.
Page, Capt., journal, 557.
Page, Edw., map of Rhode Island, 601.
Page, Wm., surveys of Boston, 210, 211;
plans of Bunker Hill, 200.
Paige, Cambridge, 173.
Paine, Robt. Treat, autog., 51, 263;
in Congress (1774), 59;
in Canada, 227;
life by Alden Bradford, 265.
Paine, Thomas, 419, Liberty Tree Ballad, 72;
Dialogue with Montgomery, 217;
American Crisis, 744;
Barlow on, 253;
portrait, 269;
bibliog. of, 269;
references on him, 269;
Writings, 269;
French ed., 269;
"The times that try men's souls", 367.
Palfrey, J. G., on the navigation acts, 64.
Palfrey, Wm., 85.
"Pallas" takes the "Countess of Scarborough", 578.
Palmer, Wm. P., Calendar of Va. State Papers, 515.
Palmer, Lake Champlain, 214, 347.
Pamphlet literature of the Revolution, 110.
sources, 419;
Hessian map of attack, 423;
Faden's map, 424;
other maps, 425;
monument, 425.
Paper money, first, of the war, 116.
Paris, treaty of (1763), 14, 685;
printed, 685.
Parker, Capt. Hyde, his report on Savannah, 519;
portrait, 519.
Parker, Capt. John, at Lexington, 176.
Parker, Com. F. H., 564.
Parker, Francis J., Col. Wm. Prescott, 191.
Parker, J. M. Rochester, N. Y., 670.
Parker, Sir Peter, 279;
on the coast with a fleet, 168;
attacks Fort Moultrie, 170, 229;
in Narragansett Bay, 593.
Parker, Theodore, 185.
Parkman, Francis, Conspiracy of Pontiac, 690;
his MS. collections, 690;
prefaces Smith's Acc. of Bouquet's exped., 699.
Parliament, invades the royal prerogative, 15;
colonial representation in, 28;
of 1766, 32.
Parliamentary Register, or Debates, 516, 653.
Parsons, Gen. S. H., on the capture of Fort Clinton, etc., 364;
a spy for the British, 460;
on the board examining André, 460;
his letters, 557;
in Long Island battle, 279, 328.
Parsons, Theophilus, life of, by T. Parsons, 274.
Parsons Case, in Virginia, 24.
Parton, James, Jefferson, 515.
Partridge, Oliver, 30.
Paterson, Col. John, 613.
Patison, T. H., 106.
Patterson, D. W., 665.
Patterson, W. A., 364.
Pattison, Gen., on N. Y., 557;
on Paulus Hook, 559.
Patton, J. H., Yorktown, 555.
Patty, Sir Wm., 63.
Paulding, John, 456;
petitions for increase of pension, 466;
his son defends him, 466;
his portrait, 466.
Paulus Hook, 326, 335, 343, 403;
plans, 559;
attacked, 559;
medal, 559.
Pausch, Capt., Journal, 360;
at Valcour Island, 346.
Pawling, Col., 667.
Paxton, Pa., 606; its "Boys", 606;
Narrative of the late Massacre, 606;
threaten the Moravian Indians, 607.
Payson, Philip, 180.
Peabody, Stephen, 350.
Peabody, S. H., Amer. Patriotism, 70.
Peabody Museum of Archæology, 607.
Peale, C. W., portrait of Dickinson, 82;
of Thomas Paine, 269;
of St. Clair, 297;
of Gen. Greene, 510;
of Morgan, 511;
of Sumter, 532;
of Paul Jones, 592;
of Chatham, 110;
of Joseph Reed, 405.
Peale, R., painted portrait of Gen. Greene, 510.
Pearce, Stuart, Luzerne County, 665.
Pearson, Capt. Richard, his acc. of the loss of the "Serapis", 577, 590;
portrait, 593.
Pearson, Schenectady Patent, 608.
Peck, Geo., Wyoming, 664.
Peck, J. M., 649;
Daniel Boone, 708.
Peck, L. W., 665.
Peet, S. D., on the Delawares, 708.
Peirce, John, 219.
Pelham, Henry, map of Boston, 209.
Pellew, Viscount Exmouth, 358.
See Exmouth.
Pencour (St. Louis), 737, 738.
Pendleton, Edmund, 259;
writes resolutions of Va., 261.
Penn, John, life, 265;
autog., 266.
Penn, Richard, 237.
Pennington, N. J., 410.
Pennsylvania, controversy over its form of government, 68;
Stamp Act in, 73;
Muhlenberg's journal, 73;
com. of corresp., 90;
effect of Boston Port Bill in, 96;
feeling in 1774, 98;
Thomas Mifflin advocating non-intercourse, 117;
its share in the Canada campaign (1776), 174;
in the Continental Congress, 234, 235;
her Assembly (1776) still loyal, 245;
records of, 247;
timidity in, respecting independence, 257;
constitutional agitation, 272;
convention of 1776, 272;
anarchical state of, in 1776, 373;
new constitution of, 401, 405;
Council of Safety, 405;
Hist. of First Troop of Cavalry, 407;
revolt of her troops, 561;
forts in, 643;
prohibits settlements on land not bought of Indians, 649;
Laws (1797), 649;
Register, 650;
Connecticut settlers in, 680;
controversies, 680;
embarrass Bouquet, 698;
controversy with Va. over Ohio lands, 709.
Pennsylvania Evening Post, 436.
Pennytown, 372.
Penobscot, expedition against (1779), 582, 603, 604;
the troops retreat through the woods, 604;
maps of, 604;
court of inquiry, 604;
Eben Hazard questions its decision, 604.
enlistment of, 674.
Pensacola captured, 739.
Pensioner, last, of the Rev., 746.
Percy, Earl, marches out of Boston, 121;
to Lexington, 123;
joins Smith, 124;
his train captured, 124;
his report on Lexington, 178;
reported killed, 178;
his family, 182;
papers, 183;
attacks the Harlem lines, 285, 289;
at Fort Washington, 345.
Perkins' Jas. Handasyd, 657;
Memoir and Writings, 648;
"Pioneers of Kentucky", 708.
Perley, Bedford, Mass., 184.
Perrault, Abbé, 216.
Perrin du Lac, Voyage, 652.
Perry, W. S., Amer. Episc. Church, 242.
Perth Amboy, 409.
Peters, Richard, on Steuben, 515;
on the massacre of Conestogoes, 606.
Peters, Rev. Samuel, reply to Burgoyne, 366.
Peyster, J. Watts de, on Sir John Johnson, 351, 660;
on Oriskany, 351;
on Schuyler's campaign (1777), 356;
on the Burgoyne campaign, 361;
on Brandywine, 419;
on Paoli, 419;
on the siege of Savannah, 523;
on King's Mountain, 536;
on Eutaw, 45;
on Stony Point, 558;
on the Penobscot exped., 603;
Sir John Johnson, 625;
edits Johnson's Orderly-book, 660;
on Sullivan's campaign, 670.
Peyton, J. L., Adventures of my Grandfather, 714.
Phelippeaux, his map, 416.
Phelps, Matthew, journal, 709.
Phelps, Rights of the Colonies, 85.
Philadelphia, non-importation in, 79;
corresp. of merchants (1769), 83;
feeling in, during the Congress of, 1774, 99;
Carpenters' Hall, 99;
news of Lexington in, 178;
life in, during the American Rev., 259;
Old State House, view of, 259;
Independence Hall, 259;
Washington's army marches through, 380;
guns of Brandywine heard in, 383;
occupied by Cornwallis and Howe, 384;
fortified by the British, 384;
the British fleet reaches the town, 389;
the winter of 1777-78, 393;
the Quakers, 393;
theatre in, during British occupancy, 394, 395;
Clinton arrives, 396;
Arnold in command, 400;
condition of the town, 401;
Congress reassembled, 401;
Tories executed, 401;
Quaker element, 405;
map of the campaign of 1777, 414, 416;
seaward defences, 423;
map of vicinity (1777), 425;
life in, during the British occupation, 436;
map of defences (1777-78), 440, 441;
Hessian map of the vicinity, 442;
maps of, during the Rev., 442;
Hist. First Troop City Cavalry, 561.
Philbrook, Thomas, 603.
Philipsbourg Patent, 340.
Phillips, G. C., 47.
Phillips, Gen., with Burgoyne, 294;
in command of convention troops, 318;
at siege of Ticonderoga (1777), 354;
his orders, 359;
Phillipse Patent, 340.
Phillopson, Col., 319.
Phinney, Elias, Battle of Lexington, 183.
Pickens, Gen. Andrew, 513, 677;
with Carolina militia, 485;
letters, 513;
his raid on the Indians, 680.
Pickering, Col., writes the report of Brandywine, 418;
of Germantown, 421;
charged with dilatoriness on Lexington day, 124;
papers, 467;
Rules for the militia, 108.
Pierce, Maj. Wm., at Hobkirk's Hill, 542.
Pigot, Gen., his account of the campaign in Rhode Island, 598;
in Newport, 593;
at Bunker Hill, 137;
autog., 137.
Pinckney, C. C., on Washington's staff, 418;
on Germantown, 421;
deserts Fort Moultrie, 472.
Pinckney, Maj. Thos., Siege of Savannah, 522;
on Camden, 530.
Pine, Robt., paints Burgoyne, 293.
Pinto, Isaac, Lettre and Seconde Lettre, 109;
Letters, 109;
Nouvelles Observations, 109;
Rèponse, 109.
Pirtle, Henry, on G. R. Clark, 718.
Pitcairn, Maj., at Lexington, 123;
killed at Bunker Hill, 139;
his remains, 139;
on the firing at Lexington, 183;
paper on, 183;
likeness by Trumbull, 197.
Pitcher, Moll, at Monmouth, 446.
Pitt, William, his influence in English affairs, 18, 19;
would seize Spanish bullion ships, 19;
in ministry, 20;
his speeches, 32;
made Earl of Chatham, 35;
in power, 35;
his character, 35;
thanked by Mass. for the repeal of the Stamp Act, 74.
Pittman, Capt. Philip, 702;
European Settlements, 702;
Present State, 717.
Plain Truth, 270.
Plessis, Mauduit du, his battery at Monmouth, 444.
Plumb, J. B., 663.
Point Pleasant, Va., affair at, 611, 714.
Pollock, Oliver, at New Orleans, 738.
Pomeroy, Seth, made general, 116;
at Bunker Hill, 137.
Pontiac, his ability, 689;
besieges Detroit, 690;
still at large, 700;
sends messengers to New Orleans, 701;
meets Croghan, 704;
agrees to a peace, 704;
his submission, 705;
murdered, 705.
Pontiac War, 688;
references, 701.
Poole, Wm. F., "The West", 685.
Poor, Gen. Enoch, 357;
headquarters at Saratoga, 358;
with Gates (1777), 308;
at Newtown, 640.
Porcher, address, 230.
Port Royal, S. C., map, 519.
Porter, E. G., 182;
Four Drawings, 185;
Rambles in Old Boston, 175.
Porter, L. H., Outlines Const. Hist. U. S., 108, 274.
Portraits of Revolutionary characters engraved in England and Germany, 270.
Portsmouth, N. H., Fort William and Mary taken, 117.
Portsmouth, Va., maps, 553.
Post, C. F., 736.
Post, L. M., Recol. of Am. Rev., 418.
Post, Vincent, 703.
Potsgrove, Washington at, 419.
Potter, Col. Asa, 346.
Potter, Israel R., Adventures, 189.
Potter, Manchester, 190.
Potter, Gen., 393.
Potts Grove, 383.
Pouchet, War in N. America, 660.
Poundridge, affair at, 557.
Pourré, Eugenio, 743.
Powder, scarce during siege of Boston, 203;
seized at Bermuda, 567.
Pownall, Gov. Thomas, 22;
on the union of the colonies, 66;
his Administration of the Colonies, 66, 90;
his character, 90;
corresp. with James Bowdoin, 90;
furnishes materials to Holland for his maps, 341;
Memorials to the Sovereigns of Europe, 91;
Memorials to the Sovereigns of America, 91;
portrait, 91;
talk on the American question, 112.
Poyntz, L., 191.
Prairie du Chien, 738.
Pratt, G. W., 364.
Prattent, T., 474.
Preble, Admiral Geo. H., American flag, 80;
"Ships in the 18th Century", 564;
acc. of Hopkins, 570;
on Com. Barry, 581;
on the flag of the "Bon Homme Richard", 590;
edits Ezra Greene's journal, 590;
privateers of Mass., 591.
Preble, Jedediah, autog., 116;
made general, 116.
Prerogative of the king, 2, 3;
and the Long Parliament, 4;
detected by Franklin, 4;
a cause of the Revolution, 5;
questioned by Patrick Henry, 24.
Presbyterians and the Amer. Rev., 244.
Prescott, Gen. Richard, captured, 403;
autog., 403.
Prescott, Col. Wm., commands the detachment sent to Bunker Hill, 135;
autog., 135;
letter on Bunker Hill, 186;
at Bunker Hill, 190;
his monument and statue, 191, 194.
Prescott, Judge, 191.
Present State of Liberty, 85.
Preston, Capt., trial of, 49, 86;
autographs of court and counsel, 50, 51.
Preston, H. W., Documents, etc., 268.
Preston, John C., Address on King's Mountain, 535.
"Preston", ship at Boston, 205.
Prevost, Gen. Augustine, 519, 699;
on the siege of Savannah (1779), 469, 522;
attacks Charleston, 520;
dies, 524.
diary, 318.
Price, Dr. Richard, Letter to, 109;
Observations, etc., 110;
portrait and autog., 111.
Price publishes ed. of Bonner's map of Boston, 207.
Prime, Temple, Temple Family, 93.
Primm, Wilson, Hist. Address, 737.
Prince, Ezekiel, 47.
Princeton, attacked, 377;
maps of the attack, 408, 409, 410, 413.
Pringle, Capt., 292;
on the fight at Valcour Island, 346.
Prisoners of war, the first taken, 123;
treatment of, 145;
disputes over those taken at the Cedars, 225;
captured at sea, 568;
naval, in England, 575;
exchanged, 575.
Privateers, before the Revolution, 19;
the service preferred by seamen, 568;
under the Treaty of Utrecht, 572;
enrich New England, 584;
of Salem, 585;
in New London, 585;
commissioned in Massachusetts, 585, 586, 591;
total number in all the States, 585;
of Boston, 587;
commissioned in France, 587;
their prize crews, 587;
bibliography, 591;
legislation on, in Mass., 591;
captures by those of Mass., 591;
of New Hampshire, 591;
of Rhode Island, 591;
of Connecticut, 591;
of New York, 591;
great losses inflicted on the British, 591;
narratives of their cruises, 591;
diplomatic complications, 592.
Proctor, Gen., at Brandywine, 382.
Property-line, so called, 650.
Prospect Hill, 206;
camp near Boston, 203.
"Protector", a Massachusetts frigate, 586.
Providence, R. I., Providence Plantations, 90;
tea burned at, 121;
defences, 593.
Province Island, Pa., 438.
Provoost, Bishop, 242.
Pulaski joins the army, 380;
his monument, 510;
defended by Bentalou, 522;
killed, 524;
acc. of, 524;
burial, 524;
his banner, 524;
portrait, 524;
recompense of the government, 524.
Pulling, John, 175.
Puplopens Kill, 324.
Pulsifer, David, 195.
Puritanism and the Declaration of Indep., 241, 242.
Purkitt, Henry, 91.
Putnam, Col. Daniel, in the Bunker Hill controversy, 190.
Putnam, Gen. Israel, 271;
his sword, 191;
autog., 192;
in command on Long Island, 278;
a bad general, 314;
accused of treachery, 314;
opposes Clinton on the Hudson (1777), 361, 362;
drives sheep into Boston, 114;
reaches Cambridge, 134;
likeness by Trumbull, 197.
Putnam, Col. Rufus, builds Fort Washington, 287;
in campaign of 1776, 346;
plans of the Saratoga battles, 361;
diary on the Mississippi, 709.
Putnam, Lt.-Col., 601.
Quaker Hill (R. I.), 596, 602;
view of the fight, 600.
Quakers, arming in Philadelphia, 131;
in Philadelphia during the Revolutionary War, 393;
implicated in hostile movements, 417.
Quebec, besieged (1775-76), 163;
plan by Jefferys, 215;
Lit. and Hist. Soc. bibliography, 222;
siege of (1775-1776), authorities, 220;
diaries, etc., 221;
American contemporary accounts, 221;
general accounts, 222;
accounts as received in Cambridge and N. Y., 222;
British official accounts, 222;
journals, etc., 222;
Wooster in command before the town, 222;
local associations, 223;
French accounts, 223;
Centenaire de l'Assault de Québec, 223;
Arnold's map of the siege, 226;
engraved maps of the town, 226;
views of, 226;
plains of Abraham, 226.
Quebec, province, maps of (1776), 226.
Quebec Bill, 58, 101, 714, 715;
debates in Parliament, 102;
"virtual representation", 103;
Doctor Marriot, 102;
Hypocrisy Unmasked, 102;
Letter to Lord Chatham, 102;
other tracts, 104.
Quibbletown, 379.
Quincy, Dorothy, 123.
Quincy, Eliza Susan, 96.
Quincy, Edmund, on the evacuation of Boston, 205.
Quincy, Josiah (senior, 1775), 152.
Quincy, Josiah (junior), his report of Otis's argument, 13;
defends Capt. Preston, 49;
dies, 125;
autog., 51;
speech on the tea ships, 57, 91;
Reports of Cases, 68;
drafts instructions (1770), 87;
Observations on the Boston Port Bill, 67, 94;
fac-simile of his dedication, 94;
autog., 94;
fac-simile of diary in London, 105;
interview with Lord North, 105;
goes to Europe, 105;
his report, 106;
his notes of debates in Parliament, 112.
Quincy, Josiah (President), Life of Josiah Quincy, Jr., 94.
Quincy, Samuel, autog., 51.
Quincy, Samuel M., edits Reports of Cases, by Josiah Quincy, Jr., 68.
Quincy mansion at Quincy, Mass., 96.
Quinton's Bridge, 442.
killed, 375;
attacks Fort Washington, 289, 338.
Rainer, G. S., 330.
"Raleigh", Continental vessel, 576.
Rall. See Rahl.
Ramapo, 379.
Ramsay, Allen, Hist. Essay on the English Constitution, 89;
Thoughts on the Origin of Government, 85.
Ramsay, David, a prisoner, 533;
map of Southern campaigns, 537;
Revolution in South Carolina, 507;
his career, 508;
Amer. Revolution, 67;
his acc. of Wyoming, 663.
Ramsey, J. G. M., Annals of Tennessee, 536, 678, 708.
Ramsour's Mill, fight at, 475, 510, 529.
Randall, O. E., Chesterfield, N. H., 355.
Randolph, Edmund, 259.
Randolph, Col. T. J., 258.
"Randolph", blown up, 571.
Randon, John, 194.
"Ranger." See Jones, Paul.
Rangers on the frontiers, 608.
Rankin, E. E., address at Fairfield, 557.
Rantoul, Robt., Jr., oration at Concord, 184.
Rariton Bay, 327.
Rathbourne, I., in the "Queen of France", 583.
Rathbun, Jonathan, Narrative, 562.
Ratzer, Bernard, his different maps of N. Y., 328, 332, 333;
surveys of New Jersey, 409;
his surveys, 341.
Raum, Trenton, 407.
Ravenal, Daniel, 528.
Rawdon, Lord, drawing of Bunker Hill battle made for him, 197;
in the South, 476;
captured, 534;
case of Hayne, 534;
retreats to Monk's Corner, 489;
portraits, 489;
made Marquis of Hastings, 489;
at Camden, 530;
his letters to Rugely, 532;
relieves Ninety-six, 493, 544.
Rawle, W. H., on Lambert Cadwalader, 341.
Rawlings, Col., 288.
Raymond, H. J., address at Tarrytown, 466.
Read, Geo., autog., 265;
life of, 265.
Read, Thos., assigned to the "Bourbon", 583.
Read, W. T., 416.
Read, Dr. Wm., Reminiscences, 537.
Reading, Pa., 383.
Red Clay Creek, Pa., 381, 421.
Red Jacket, 662.
Red Lion, Pa., 421.
Redman, Rebecca, 452.
Reed, Esther, life of, 436.
Reed, Col. James, at Bunker Hill, 190.
Reed, John, City and Liberties of Philad., 442.
Reed, Joseph, writes to Dartmouth during the Congress of 1774, 90, 104;
letters to Josiah Quincy, 106;
autog., 141;
letter on the siege of Boston, 173;
on Washington's indecision, 403;
portrait, 405;
on the campaign of 1776 in Jersey, 405.
Reed, W. B., on Thomas Paine, 269;
on the retreat from Long Island, 330;
oration on reinterment of Mercer, 412;
on Brandywine, 418;
Esther Reed, 436.
Reed-Cadwalader controversy, 407.
Regulators, war of, 80.
See North Carolina.
Renault, J. F., map of Yorktown, 553.
Renwick, Benj. Thompson, 546.
Revenue to be obtained from the colonies, 15, 24;
cases tried, 23;
seizures, 28.
Revere, Paul, engraves likeness of Sam. Adams, 40;
makes plan of State Street, 47;
engraves view of massacre, 47;
his views of Boston, 81;
as an engraver, 81;
at Portsmouth, 117;
his signal, 123;
where were his lanterns shown? 174;
portraits, 175;
commands artillery in the Penobscot expedition, 603;
re-engraves West picture of Bouquet's Indian council, 695.
Reynolds, Gov., My own Times, 721.
Reynolds, Grindall, 184.
Illinois, 708.
Reynolds, Sir Joshua, paints Burgoyne, 293;
paints Cornwallis, 474;
his Engraved Works, 474;
portrait of Tarleton, 517;
Catalogue by Hamilton, 517.
Rhode Island, illicit trade in, 26;
com. of correspondence, 90;
cannon concealed (1774), 117;
equips troops (1775), 122;
renounces allegiance to England, 257;
retained her original charter, 274;
creates a navy (1775), 565, 567;
Esek Hopkins, 568;
her seamen, 587;
privateers, 591;
the "Gen. Washington", 591;
English fleet in (1776), 593;
fire-ships proposed, 593;
campaign (1778), 592;
Rich, Obadiah, 608.
Rich, Truro, 568.
Richards, Thomas, 331;
account of attack on Fort Clinton, etc., 364.
Richardson, Ebenezer, shot Snider, 89.
Richman, Andrew, 153.
Richmond, old Raleigh Tavern, 259.
Rider, S. S., on the R. I. campaign of 1778, 595.
Ridgeley, Annapolis, 327.
Riedesel, Baron, in Cambridge, 142;
with Burgoyne, 294;
his comments on Burgoyne, 358;
life by Eelking, 361;
his wife conceals Hessian flags, 319;
on Bennington, 354.
Riley, E. S., Jr., 117.
Rising Sun Tavern, Pa., 421.
Rittenhouse, David, 371.
Ritzema, Rudolphus, 222.
Rivington's Gazette, or Gazetteer, 98, 110;
his press destroyed, 323.
Robbin, Rev. Ammi R., his journal, 346.
Robbins, Jonathan, 681.
Roberts, Dr., of Boston, 47.
Roberts, Ellis H., Oriskany, 351.
Roberts, George, 398.
Robertson, Col. Charles, 677.
Robertson, Gen., 461;
in N. Y., 284.
Robin, Abbé, Travels, 560.
Robinson, Beverly, his supposed letter to Arnold, 452;
his house, 452, 458, 462, 465;
endeavors to save André, 461.
Robinson, J. DeLancey, 535.
Robinson, M. M., 198.
Rochambeau, Le Comte de, his maps, 345;
in Soulé's Troubles, 516;
portraits, 498;
autog., 498;
sails from Brest, 498;
at Newport, 499;
meets Washington at Weathersfield, 499, 560;
leaves Newport, 499;
map of route, 561;
marches to Virginia, 500;
his maps of Yorktown, 553;
march of his army to Yorktown, 551;
alleged journal, 554;
corresp. with the R. I. authorities, 560;
arrives in America, 560;
his instructions, 560;
letters, 560;
blockaded in Newport, 560;
maps of his camps, etc., about N. Y. (1781), 561;
at Odell House in Westchester, 561;
meets Washington at New Windsor, 561;
at Williamsburg, 744;
sails for France, 745.
Rocheblave, Gov., at Vincennes, 719;
sent to Williamsburg, 723;
account of him, 723.
Rochefoucault-Liancourt, Travels, 658.
Rock River, 741.
Rockingham, ministry, 21, 31, 74;
attacked, 76;
portrait, 31.
Rocky Hill, N. J., 408;
Washington at, 746.
Rocky Mount, 475.
Rodney, Admiral Sir George, relations with Sir Henry Clinton, 501;
Rodney, Cæsar, 405;
autog., 265;
life, 266;
on the battle of Long Island, 327;
commands Delaware militia, 380.
Rodney, Capt. Thomas, 407.
Rogers, Col. David, 738.
Rogers Gen. Horatio, edits Hadden's Journal, 359.
Rogers, Lieut. John, 725.
Rogers, Josias, Memoirs, 527.
Rogers, J. E. T., edits Protests of the Lords, 74;
Franklin's notes on, 74.
Rogers, Maj. Robert, on the Pontiac War, 690, 701;
his MS. diary, 701.
Rogers, T. J., Departed Heroes, 508.
Rolfe, J., Naval Biog., 589.
Romans, Bernard, at Fort George (Lake George), 129;
acc. of, 129;
plan of siege of Boston, 207;
surveys of Carolina, 538;
lines on Boston Neck, 212.
Rome, N. Y., 351.
Romilly, Sir Samuel, justified the execution of André, 463.
Romney, G., paints Brant, 625;
Thomas Paine, 269.
"Romney", man-of-war, 43.
Rondthaler, Heckewelder, 736.
Rosengarten, J. C., on the German soldiers in Newport, 601.
Rosenthal, Louis, 269.
Ross, Chas., his Cornwallis Correspondence, 516.
Ross, Geo., autog., 265;
life, 266.
Ross, Lieut., Map of Mississippi, 720;
section of, 721.
Rowland, K. M., "Virginia Cavaliers", 407.
Roxbury (Mass.), camp, 203;
view of lines, 130;
view of, 149.
Royal American Magazine, 40, 81, 271.
Royce, C. C., 735.
Rugeley Mills, 476.
Ruggles, Timothy, president of the Congress of 1765, 30, 74;
organized an association of loyalists, 97, 118.
Rum made in New England, 25.
Rumford, Count. See Thompson, Benj.
Rupp, I. D., Western Penna., 693.
Rush, Benj., approves John Adams's Thoughts on Government, 272;
autog., 264;
and the Conway cabal, 392;
life, 265.
Rush, Richard, Washington in Domestic Life, 466.
Rushbrooke, Barham, likeness of Gen. Lee, 406.
Rusoe d'Eres, C. D., 222.
Russell, Major Benj., 467.
Russell, Earl, his books on C. J. Fox, 112;
on the Decl. of Indep., 269.
Russell's Magazine, 519.
Rutherford, Gen. Griffeth, 475, 676, 677, 678.
Rutledge, Edw., 264;
life by A. Middleton, 265;
autog., 266;
proposes neutrality for S. C., 470, 520.
Rutledge, H. M., life of Arthur Middleton, 265.
Ruttenber, E. M., Obstructions in the Hudson River, 323, 465;
Orange County, 662.
Ryerson, Loyalists of America, 523, 670.
Sabine, Lorenzo, Report on Fisheries, 568.
Sackville Papers, 516.
Saffrel, W. T. R., Records, 418.
Sag Harbor, expedition to, 591.
Saint. See St.
Salem (Muskingum Valley), 734.
Salem, Mass., Leslie at, 119, 172;
her privateers, 586.
Saltonstall, Capt. Dudley, in the navy, 570;
commands the fleet sent against Penobscot, 582, 603;
quarrels with Lovell, 603;
blamed by court of inquiry, 604.
Sampson, Deborah, 191.
Sampson, Simeon, in the "Ranger", 583.
Sanderson, John, lives of Franklin and B. Rush, 265;
Signers of the Decl. of Indep., 265.
Sands, Robert, edits Life of Paul Jones, 590;
annotated copy, 590.
Sandusky, the modern city, 735;
the old site, 735;
missionaries at, 735.
Sandy Hook, 340;
lighthouse, 325.
Sanguinet, Simon, La Guerre des Bastonnais, 223.
Santee River, 475;
High Hills of, 493.
Sappington, John, 711.
articles of surrender at, 317, 358;
authorities on the surrender, 358;
prisoners and stores, 358;
strength of the two armies, 358;
monument at, 366.
See Burgoyne, Schuyler, Gates.
Sargent, John, 613.
Sargent, L. M., Dealings with the Dead, 72, 461;
on Leonard as Massachusettensis, 110.
Sargent, Winthrop, 106;
Life and Career of Maj. John André, 464;
on the Cincinnati Society, 746;
Stansbury and Odell, 273.
Sartigan, 655.
Saunderson, H. H., Charlestown, N. H., 355.
Saunderson, Lieut., march to Yorktown, 554.
Sauthier, C. J., map of Hudson River and the Canada route, 349;
of Canada, 349;
map of New York province (1774), 340, 341;
map of N. Y. campaign (1776), 336, 338;
plan of Fort Washington, 338.
Savage, S. P., 92.
Savannah, attacked (1778), 469, 519;
D'Estaing at (1779), 470;
maps, 521;
accounts, 522.
Sawyer, Capt. Samuel, diary, 326.
Scalps, Americans charged with buying, 683;
bounties, 681;
divided, 682;
bought by British generals, 731;
want of evidence as regards the English buying them, 683.
Scammans, Col., court-martial, 189.
Scammell, Alexander, 128, 466;
in Lexington, 178;
letters (Winter Hill), 203;
letters on Canada exped., 216;
Burgoyne's surrender, 358.
Scharff, St. Louis, 740.
Schaukirk, E. G., diary, 325
Scheifflin, Lieut., 729.
Schenectady, 609.
Schoharie Valley ravaged, 644, 658.
Schönbrun, 734.
Schoolcraft, H. R., on Oriskany, 351;
Indian Tribe, 652.
Schulenberg on Burgoyne's surrender, 364.
Schuyler, G. W., on the landmarks of Burgoyne's campaign, 361.
Schuyler, Gen. Philip, differences with Wooster, 161;
on Ticonderoga (1775), 214;
in command of the Northern department (1775), 215;
papers, 215;
on the siege of Quebec, 221;
prepares for the campaign of 1777, 293;
autograph, 297;
joined by St. Clair, at Fort Edward, 298;
portrait, 298;
accounts of, 298;
his family, 298;
his Albany house, 298;
his wife, 298;
at Fort Miller, 298;
his headquarters at Saratoga, 356;
orderly-book (1777), 359;
secures Guy Johnson's war-belt, 624;
ordered to arrest Sir John Johnson, 624;
his "Peacock expedition", 625;
on the employment of Indians, 673;
Indian commissioner, 674;
his quarrel with Gates, 346;
correspondence with Gouverneur Morris during the Burgoyne campaign, 358;
Proc. Court Martial, 358;
disliked by New Englanders, 161, 358, 359;
in command of the Northern department (1777), 348;
proclamation, 350;
calls out militia, 356;
his spy, 356;
superseded by Gates, 356;
controversy of Bancroft with G. W. Schuyler and others over his conduct, 316, 356;
intercedes for Arnold, 452;
his expedition to Tryon County, 653;
in N. Y., 1775, watching Tryon, 142;
authorized to advance into Canada, 161;
resigns the command to Montgomery, 162;
relieved of command in Canada, 165;
at Stillwater, 298;
superseded by Gates, 301;
his military character, 316.
Schuyler, Hanyost, 351.
Scot's Magazine, 516.
Scott, Capt., sent by Burgoyne to open communication with Clinton, 364.
Scott, Eben G., Development of Constitutional Liberty, 64.
Scott, Geo. G., Saratoga Address, 366.
Scott, Capt. James, marries Hancock's widow, 270.
Scudder, H. E., "Life in Boston during the Siege", 204;
Men and Manners, 204;
on siege of Boston, 173;
on Bunker Hill, 191.
Scull, G. D., Capt. Evelyn, 183, 205;
edits Montresor's Journal, 419.
Scull and Heap, map of Philad., 442.
Scull, Map of Penna., 416.
Seabury, Samuel, arrested, 98;
his tracts, 104.
Sears, Isaac, 98.
Seaver, Jas. E., Mary Jemison, 662.
Seaver, Mary Jemison, 683.
Secker, Archbp., 243.
Sedgwick, Theo., Jr., 359.
Seeley, J. R., Expansion of England, 66, 255.
Ségur, Count, Mémoires, 560.
Selman, Capt., 565.
Seneca Lake, Sullivan on, 640.
Senecas, incursions of, 605;
their numbers, 610;
their great Castle, 640;
destroyed, 641;
in St. Leger's army, 661;
on the Alleghany, 671.
Senff, Col., 531;
his plan of Camden, 533.
Senter, Isaac, Exped. against Quebec, 219.
Seven Years' War, 14.
Sevier, Col. John, 478;
portrait, 535;
fights the Indians, 677.
Sewall, Jonathan, 108;
autog., 50;
his house in Cambridge, 142.
Sewall, W., Method of making Saltpetre, 108.
Seward, Miss, Monody on André, 464.
Seward, W. H., on Cherry Valley, 666;
on Sullivan's expedition (1779), 671.
Seymour, Horatio, on Burgoyne's surrender, 361.
Seymour, Wm., Southern Expedition, 1780-83, 531.
Shabbakong Creek, 377.
Shallos, Jacob, 227.
Sharp, Granville, Declaration of the people's natural right, 106.
Sharp, W. S., reprints Smith's New Jersey, 409.
Shattuck, Lemuel, 184;
his Concord, 184.
Shaw, Maj. Samuel, 467;
Journals, 191.
Shawanese, 610; history of, 735;
make treaty, 702;
their ravages, 709.
Shea, J. G., edits Operations of the French Fleet, 502, 548.
Sheffield, Wm. P., Rhode Island Privateers, 591.
Sheftall, Capt. Mordecai, Acc. of his Capture, 519.
Shelburne, Earl of, 21;
attacks the government for using Indians, 621;
retires (1767), 43.
Shelby, Col. Evan, 677.
portrait, 535;
acc. of, 536;
at King's Mountain, 535.
Sheldon, Col., at Poundridge, 557;
receives André, 458.
Shelpot Creek, 421.
Sheppard, J. H., Com. Tucker, 567.
Sherburne, Andrew, Memoirs, 404, 525, 590.
Sherburne, J. H., Paul Jones, 589.
Sherman, Roger, on com. to draft Declar. of Indep., 230;
portrait and autog., 262, 263;
life of, 265;
on Burgoyne's campaign, 358.
Shimmin, Wm., 464.
Shipbuilding, discouraged, 8;
in New England, 563.
Shipley, Bishop, Speech intended, etc., 97;
references, 97;
portrait, 97.
Shippack Creek, 423.
Shippen, Edward, 402.
corresponds with André, 449;
marries Benedict Arnold, 449;
her knowledge of his treason, 449.
Shippen Papers, 464.
Ships must be English built, 8.
Shirley, Gov. William, his house, 156;
character, 22;
his stamp act (1755), 11;
Writs of Assistance, 12.
Shoes manufactured in Lynn, 39.
Short, W. T. P., 222.
Shreve, John, 419.
Shuldham, Admiral, arrives at Boston, 152.
Silliman, Gen., on Harlem, 334;
on the Saratoga battlefield, 357.
Simcoe, Col. J. G., raiding near Philadelphia, 442;
offered to try to rescue André, 467;
in Virginia, 546;
his maps, 547;
Journal, 518;
pursues Steuben in Va., 497;
fight at Spencer's Ordinary, 497.
Simms, Jephtha R., Schoharie County, or The Frontiersmen of N. Y., 659.
Simms, W. G., Views and Reviews, 464;
Life of Gen. Greene, 510;
Life of Marion, 512;
on King's Mountain, 536;
novels of Revolutionary times, 545.
Simond, T. C., South Boston, 156.
Simpson, Thomas, 472.
Simpson, Wm., plan of Stony Point, 558.
Sinclair, Lt.-Gov., 737;
his letters, 738.
Six Nations, boundary line, 605, 609;
map of their country, 607, 608;
their conquered territory, 609;
conflicts with the Cherokee claims, 610;
their numbers, 610;
their allies, 610;
addressed by Congress, 616;
support Guy Johnson, 619;
professions of peace, 619;
the ministry order them to service, 620;
Lord North defends such use, 621;
divided in their councils, 622;
invaded by Sullivan, 640;
their claims of land by conquest, 650;
divided in the Rev. War, 659;
their houses and way of living, 668, 669;
with some exceptions join the British, 623, 627;
Congress attempts to lure them to their side, 633;
their supremacy over other tribes, 706.
See Iroquois.
Skene, Philip, 214.
Skenesborough, fight at, 297.
Skinners (on the Hudson), 456.
Slave-trade, 9.
Slavery and the Declar. of Independence, 239.
Slover, John, Narrative, 736.
Small, John, Major, 153;
at Bunker Hill, 138;
likeness by Trumbull, 197.
in the South, 477;
his Marylanders, 329.
Smedley, Samuel, 568.
Smibert, his portrait of Mayhew, 71.
Smith, Adam, 63;
controverted by Brougham, 9.
Smith, Aubrey H., 219.
Smith, Chas., American War, 189, 200.
Smith, Charles C., on André, 464;
on Cornwallis, 516;
edits Henshaw's orderly-book, 204;
edits Jolley Allen's Sufferings, 205;
on making gunpowder, 108.
Smith, Col., sent out by Gage to scour the country, 119;
his report on Lexington, 178.
Smith, E. V., Newburyport, 568.
Smith, Goldwin, Study of History, 93;
on Yorktown, 555.
Smith, Horace W., edits Proceedings of André's examination, 461;
Siege of Yorktown, 553.
Smith, Isaac, 187.
Smith, James, autog., 265;
life, 266.
Smith, Col. James, Life and Travels, 248.
Smith, J. A. 184.
Smith, Joshua Hett, brings André ashore, 454;
his character, 456;
arrested, 460;
his trial, 463;
Dawson's Record of the Trial, etc., 463;
escapes to England, 463;
his Narrative, 463.
Smith, J. S., Memoir of De Kalb, 530.
Smith, Lloyd P., 746.
Smith, Marshall, Legends, 708.
Smith, Noah, on Bennington, 355.
Smith, R. P., life of Hopkinson, 265.
Smith, Col. Samuel, wounded at Fort Mifflin, 388;
on the Delaware (1777), 431.
Smith, Seba, 173.
Smith, Thomas, Mecklenburg Declaration, 257.
Smith, Wm. Hist. Acc. of Exped. against Ohio Indians, 696, 699;
editions, 699;
letter on Stamp Act, 73;
on Montgomery, 216.
Smith, Wm. Henry, Life of St. Clair, 349;
on Princeton, 412.
Smith, chaplain at Saratoga, 360.
Smucker, Isaac, 708;
Ohio Pioneer History, 736.
Smyth, J. F. D., Tour in the U. S., 652.
Snider, the boy, killed, 85, 89.
Snow, a vessel, 572.
Sons of Liberty, 30;
in N. Y., 53;
history of, 72;
their correspondence, 72;
correspond with John Wilkes, 72;
support non-importation, 78;
propose a Congress (1774), 99.
Sorel River, 215.
Soulés, Troubles, etc., 560.
South Carolina, agrees to a Stamp Act Congress, 30, 73;
non-importation in, 79;
Letters of a Freeman, 79;
movements (1774), 98;
rice-planters in, 117;
in the Cont. Congress, 235;
adopts a constitution, 272;
militia in, 478;
her naval force, 571.
Spain, her North American possessions, 685;
settlements on the Mississippi to be attacked by England, 738;
at war with Great Britain, 738;
her assistance to G. R. Clark, 742;
her relations to the United States, 742;
would restrict their boundaries, 742;
invades the Illinois country, 743.
Spanish Main, commerce with, 25.
Sparks, Jared, intended history of the Stamp Act, 75;
occupies Craigie House, 142;
Life of Ethan Allen, 214;
Charles Lee, 407;
on Brandywine, 418;
Life and Treason of Arnold, 464;
the documents given in his Washington, 464;
reviews Johnson's Greene, 511;
prompts Mackenzie's life of Paul Jones, 590;
gives a due share of blame to the Americans for the use of Indians, 622.
Speed, Thomas, Wilderness Road, 708.
Speier, R. J., 194.
Spencer, Joseph, 134.
Spencer, J. A., United States, 665.
Spencer's Ordinary, fight at, 497.
Sprague, Wm. B., 264.
Springfield, N. J., action at, 559.
Springfield, N. Y., burned, 633.
Sproule, Capt. George, Environs of Charleston, 528.
Squier, Ephraim, 219;
diary, 360.
St. Ange de Bellerive at Fort Chartres, 701.
St. Augustine, plan of, 538.
St. Clair, Gen. Arthur, commands at Ticonderoga, 296, 348;
evacuates the post, 296;
his trial, 349;
Life and Public Services, 349;
his papers, 350;
portrait, 297;
other likenesses, 297;
his house, 297;
at Castleton, 297;
hears of Lexington fight, 178;
at West Point, 460.
St. François Indians, 656;
at Cambridge, 655.
St. John Indians, 617.
St. John (Sorel River), island of, fort on, 215, 216;
attacked (1775), 565;
St. Lawrence, gulf, chart, 215;
river, chart, 215.
St. Leger, Col. Barry, his part in Burgoyne's campaign, 296;
authorities, 351;
portrait, 351;
his letter from Oswego, 366;
diagram of his order of march, 628;
attacks Fort Stanwix, 628;
his proclamation, 629;
defeats Herkimer, 631;
his opinion of Indians, 632;
number of his troops, 661;
offers for scalps, 683.
St. Louis attacked, 730, 737, 739.
St. Luc, La Corne, 351.
St. Pierre and Miquelon, trade with, prohibited, 27.
St. Simon, Gen., in Virginia, 501.
Ste. Geneviève, 738.
Franklin's view, 5;
violence, 24;
threatened (1764), 26;
Franklin asks for patronage under it, 29;
arouses indignation, 29;
petitions against, in Parliament, 32;
rejoicing in London, 33;
riots and compensation for them, 34;
origin of, 72;
debates on it languid, 72;
Congress determined on, 72;
title of act, 72;
the stamps, 72;
debates on the repeal, 74;
Congress to consider the act, 29, 30, 74;
Authentic Account, 74;
Journal, 74;
references, 74;
Tory support of act, 75;
American and British authorities on the turmoil, 75;
Sparks intended a history, 75.
Stanhope, Earl (see Mahon), Miscellanies, 464.
Stanley, Dean, Westminster Abbey, 461.
Stanwix, Fort, 274;
movements near (1777), 350;
authorities, 351;
bounds of treaty at, 650, 706, 707;
described, 660;
rumors of its capture, 672.
See Fort.
Staples, W. R., Doc. Hist. of the Destruction of the Gaspee, 90;
Annals of Providence, 565.
Stark, Caleb, Memoir of Gen. Stark, 301.
Stark, Gen. John, on Bunker Hill, 137, 187, 190;
at siege of Boston, 134;
autog., 137;
notices, 190;
letters (Winter Hill), 203;
at Bennington, 300;
silhouette, 301;
his monument, 301;
homestead, 301;
portraits, 301;
memoir, 301;
life of, by Caleb Stark, 354;
his letters about Bennington, 354;
his papers, 354.
map, 327;
Sullivan's raid on, 417;
expedition to (1780), 561.
Stearns's North Amer. Almanac, 178.
Stedman, Charles, Amer. War, 518, 659;
under Cornwallis, 517;
his History noticed by Clinton, 517.
Stedman, James, 464.
Stenton, situation of, 425, 429.
at Brandywine, 381.
Steuben, Baron, at Valley Forge, 393;
reorganizes the army, 560;
in Virginia, 496, 515, 546, 732;
pursued by Simcoe, 497;
portraits, 497;
lives of, 515.
Howe's Orderly-Book, 415.
Stevens, Henry, 359.
Stevens, J. A., on Stamp Act times in New York, 73;
on New York in the Continental Congress, 99;
"Birth of the Empire State", 274;
on Harlem fight, 334;
on Benedict Arnold, 357;
on Burgoyne's campaign, 366;
on Washington's headquarters at Tappan, 460;
on Arnold's Arnold, 464;
on the French in Virginia, 516;
on their departure, 745;
on Camden, 530;
on Gates at Camden, 532;
on Lafayette's expedition against Arnold, 547;
on Rochambeau's march to Virginia and return, 551;
edits Fersen's letters, 554;
on Yorktown, 555;
on the combined movements near N. Y., 561;
on the campaign in R. I. (1778), 601.
Stevens, History of Georgia, 522.
Steward, Rev. James, and Trumbull's Indian Wars, 651.
Stickney, Chas. E., Minisink Region, 662.
Stiles, Ezra, on Bunker Hill, 187;
portrait and autog., 188;
his account of Long Island battle, 329.
Stiles, H. R., Brooklyn, 330;
Fort Chartres, 705.
Stillman, Wm. J., Poetic Localities of Cambridge, 142.
Stillwater, battle, 356;
Schuyler at, 298.
Stirling, Gen. Lord, captured at Brooklyn, 279, 280, 328;
portrait, 280;
in N. Y. (1776), 325;
his house, 331;
at Princeton, 368;
at Brandywine, 381;
at Germantown, 385;
on Trenton, 407.
Stirling, Capt. Thomas, 705, 706.
Stockbridge Indians, 655;
visit the Six Nations, 613;
addicted to liquor, 613;
at White Plains, 613;
at King's Bridge, 613;
in Indiana (1819), 613.
Stockton, H., life of R. Stockton, 265.
Stockton, Richard, 108;
autog., 264;
life by H. Stockton, 265.
Stoddard, Louisiana, 737.
Stoddard, Frances Mary, 205.
Stoddard, R. H., 193.
Stokes, Chief Justice Anthony, 522;
View of the British Constitution, 523.
Stone, Enos, account of Hubbardton fight, 350.
Stone, E. M., John Howland, 90, 405;
Invasion of Canada, 219;
on Yorktown, 555;
French Allies, 560;
on the R. I. campaign (1778), 601.
Stone, F. D., "Philadelphia Society", 260;
"The Struggle for the Delaware", 367.
Stone, Thos., autog., 265;
life, 266.
Stone, W. L. (Senior), Sir Wm. Johnson, 647;
Red Jacket, 247;
Border Wars of the Rev., 247, 657;
Wyoming, 247;
Uncas and Miantonomoh, 247;
account of, 247;
on New York and the Dec. of Indep., 262;
memoir of George Clinton, 308.
Stone, W. L. (the younger), edits Pausch, 347;
on Moses Harris, 356;
Cent. Cel. of Burgoyne's Surrender, 357;
on Major Acland, 358;
Wyoming, 665;
Orderly-Book of Sir John Johnson, 351;
Campaign of Burgoyne, 351;
Saratoga and Ballston, 360;
"Burgoyne in a New Light", 360;
notes to Pausch's Journal, 360;
Campaign of Burgoyne, 361;
Cent. Cel. of Burgoyne's Surrender, 361;
translates the Riedesel memoirs, 361;
landmarks of Burgoyne's campaign, 361.
Stone Arabia (N. Y.), 609, 644.
Stone, Beverley, Mass., 350.
Stonington, Conn., attacked, 145.
Stono River, 526;
attacked by Lincoln, 520.
Stony Point, 455, 456, 465, 556;
attacked, 558;
medals, 559.
Stormont, Lord, his correspondence, 592.
Storrs, Experience, 203.
Storrs, Lt.-Col., 188.
Stow, Edw., 204.
Strahan, Wm., corresp. with Franklin, 85;
on the repeal of the Stamp Act, 74.
Straus, Origin of Repub. Form of Govt., 71.
Street, A. B., on Burgoyne's campaign, 357;
on Saratoga, 361.
Strobel, P. A., Salzburghers, 523.
Strong, Flatbush, 330.
Stryker, W. S., Maxwell's brigade in Sullivan's Exped., 670;
Block House at Tom's River, 744;
New Jersey line in Va., 555;
on Princeton, 412.
Stuart, Gilbert, paints John Brooks, 202;
Gates, 303;
Gansevoort, 629;
John Adams, 36.
Stuart, I. W., Jona. Trumbull, 674;
Nathan Hale, 334.
Stuart, Capt. John, 714;
Indian Wars, 714;
supt. of Southern Indians, 615, 620;
instructed by Gage to stir up the Indians, 620.
Stuart, Lieut.-Col., at Eutaws, 545.
Suffolk, Earl of, justifies use of Indians, 621.
modified, 25.
Sullivan, James, on the Penobscot exped., 603.
Sullivan, Gen. John, portrait, 68;
sent to Portsmouth (1775), 146;
sent to Canada, 166;
took command, 167;
retreats to Crown Point, 167;
at Winter Hill (1776), 203;
in command on Long Island, 278;
his character, 278;
wished the command at Ticonderoga (1777), 348;
joins Washington (1776), 373;
at Germantown, 385;
his raid on Staten Island, 417;
at Chestnut Hill, 419;
on the Conway Cabal, 446;
in the Rhode Island campaign, 593;
advances, 595;
assails D'Estaing in an order, 595;
retires, 595;
fighting takes place, 595;
his report on the R. I. campaign, 595;
crosses to mainland, 598;
his conduct criticised, 598;
defended by T. C. Amory, 598;
his orders, 598;
letters, 598;
effect on the country, 601;
his proclamation, 653;
journals of his Indian exped., 671, 681;
lists them, 681;
all published by the State of New York, 681;
the army's route, 681;
losses in his campaign (1779), 642;
maps of his marches, 642;
portrait, 637;
autog., 637;
his house, 637;
his family, 637;
commands exped. against the Indians, 638;
exped. against the Indians, 666;
acc. by Gordon, 666;
life, by Amory, 666;
his force (1779), 667;
not intending to attack Niagara, 669;
brigade book, siege of Boston, 204;
captured at Brooklyn, 279, 280;
in command in Canada, 226;
letters, 226;
the battle of Long Island, 327.
Sullivan's Island (1776), 169, 170;
view of fort, 228;
attack, 229;
authorities, 229;
the news in Philadelphia, 229;
contemp. accounts, 229;
plan of the attack, 229;
general American accounts, 229;
Sulte, B., Canadiens Français, 164.
Sumner, Geo., Oration (1859), 592, 738.
Sumner, Wm. H., 123;
on Gen. Warren, 194;
on Hancock, 271.
Sumter, Gen., 475;
in the South, 477;
attacked by Tarleton, 478, 480;
threatens to resign, 490;
harasses Greene, 492;
at Fishdam Ford, 532;
portraits, 532;
on Weemys's attack, 536;
his differences with Morgan, 537.
Sunbury, Georgia, 519.
Susquehanna Company of Connecticut, 680.
Sutherland, Capt. of the "Vulture", 461.
Sutton, Sir Richard, 232.
Sutton (Mass.) men at Lexington, 182.
Swain, D. L., on invasion of N. Carolina, 168;
Indian War of 1776, 678.
Sweat, Samuel, letters (Winter Hill), 203.
Swedes' Ford, 425.
Swett, Col. Samuel, papers on Bunker Hill, 189, 191;
plan of Bunker Hill, 202;
acc. of, 191;
autog., 191.
Sylvester, R. B., Saratoga, etc., 366.
Sylvester, Richard, 83.
Talbot, Major, wounded at Fort Mifflin, 389.
Talbot, Silas, in Rhode Island, 602;
lives of, 603.
Tallmadge, B., 464;
his letters, etc., on André, 466;
his estimate of the captors of André, 466;
portraits and autog., 457;
Memoir, 457;
Tappan, N. Y., André at, 460;
De Wint House, 460;
Seventy-Six Stone House, 460.
Tarbox, Increase N., his views on the question of the command at Bunker Hill, 191;
Life of Putnam, 191.
Tardieu, P. F., Carte des Etats Unis, 675.
Tarleton, Col., at the siege of Charlestown, S. C., 473;
defeats Buford, 475;
at Black-Stocks, 536;
at Poundridge, 557;
Campaign of 1780 and 1781, 517;
his losses, 517;
his career, 517;
portrait, 517;
Mackenzie's Strictures, 517;
at Camden, 530;
attacks Sumter, 478;
pursues Marion, 480;
pursues Morgan, 481;
at Guilford, 486;
at the Waxhaws, 527;
at Fishdam Ford, 532.
Tarrytown, N. Y., monument at, 466.
Tate, W., 223.
Taxation of the colonies, ministerial view, 17;
colonial view, 17;
right of, 63;
denied, 24;
internal and external, 50;
first movement against, 68;
Reasons why the British colonies should not be charged with internal taxes, 70;
the government view in the Protest of the Lords against repeal of Stamp Act, 74;
History of Amer. Taxation, 1763-1775, 75;
pro and con arguments in Read's George Read, 75;
Soame Jenyns's Objections, 75;
James Otis's Considerations, 75;
Regulations lately made, 75;
tracts on, 75;
Letter to a Member, 75;
Objections to the taxation, etc., 75;
Good Humour, 85;
Inquiry into the nature of the present disputes, 85;
True constitutional way of putting an end to the disputes, 85;
Johnson's Taxation no tyranny, 109;
Defence of the American Congress, 109;
Letter to Dr. Price, 109.
Taylor, Eldad, 205.
Taylor, Geo., autog., 265;
life, 266.
Taylor, Janette, 590.
Taylor, John, life of John Penn, 265.
Taylor, John, Inquiry, etc., 272.
Taylor, J. W., Ohio, 708.
Taylor, R., on Geo. Mason, 272.
duty on, 46;
importation of it arouses Philadelphia, 57;
and the other colonies, 57;
in Boston, 91;
in N. H., 92;
in Connecticut, 93;
in New York, 93;
in Pennsylvania, 93;
fac-simile of broadside, 93;
in N. Carolina, 93;
tax on, to remain, 51.
Teller, Ridgefield, Conn., 348.
Temple, John, duel with Whateley, 93.
Tennessee, 708;
Haywood's hist. of, 678.
Ternant, Gen., 513.
Ternay, Chev. de, 499;
dies, 499;
his tomb, 499;
autog., 500.
Tetard Hill (N. Y.), 287, 338, 339.
Thacher, B. B., 91.
Thacher, Dr. James, 464;
Military Journal, 189, 202, 660.
Thacher, Oxenbridge, 13;
Sentiments of a British American, 70;
dies, 70.
Thacher, Peter, oration on Boston Massacre, 88;
his account of Bunker Hill, 186.
Thaxter, Jos., 178.
Thayendanegea. See Brant, Joseph.
Thayer, Capt. Simeon, Journal, 219;
at Fort Mifflin, 388.
Thomas, E. S., Reminiscences, 184, 412.
Thomas, Gen. John, 108;
second in command under Ward, 134;
at Roxbury, 134;
at Dorchester Heights, 156;
his headquarters in Roxbury, 156;
at Quebec, 225;
letters, 225;
in command at Roxbury, 130;
ordered to Canada, 165;
retreats from Quebec, 166;
dies, 167;
portrait, 167;
Memoir, 167;
affronted at Congress, 167.
Thomas, Isaiah, 122;
Narrative of Lexington, etc., 175;
Mass. Kalendar, 47.
Thomas, Lieut. John, on Louisiana, 737.
Thomas, W. H. B., 214.
Thompson, Benj., Count Rumford, 507;
in Boston, 128;
in S. Carolina, 545;
lives of, 546.
Thompson, Eben, Memoir, by Mary P. Thompson, 117.
Thompson, Gen., on Canada exped., 225;
acc. of, 225.
Thompson, Wm., 203.
Thomson, Chas., letter on taxation, 75;
letter to Wm. Drayton, 96;
on Bunker Hill, 189;
portrait, 272;
his house, 272;
autog., 450.
Thornton, J. W., Pulpit of the Rev., 244;
his sale, 467.
Thornton, Matthew, autog., 263;
life, 265;
signed the Decl. of Indep., 268.
Three County troop in Massachusetts, 184.
Three Rivers (1775), 216;
Throckmorton, B. W., on Benedict Arnold, 357.
Throg's Neck, 285.
Thwaites, R. G., on L. C. Draper, 727.
Tickle, Robt., Present state of the Nation, 85;
Considerations in reply, 85.
Ticonderoga, capture planned, 613;
taken (1775), 129;
view of ruins, 129;
papers on capture, 130;
cannon taken to Cambridge, 156;
authorities on its capture (1775), 213;
disputes over the origination of the expedition, 213;
trophies, 214;
Arnold's report, 214;
current reports, 214;
ruins of, 214;
diary (1775) at, 215;
its condition after capture, 215;
apprehension at, after fall of Quebec, 227;
Gates at, 291;
St. Clair at (1777), 348;
attacked by Burgoyne, 296;
authorities, 349;
effect of it, 350;
maps (1777), 350;
that used at St. Clair's trial, 350, 353;
recaptured, 304.
Tiddeman, Mark, map of N. Y. harbor, 326.
Tiffany, Osmond, Life of O. H. Williams, 537.
Tilghman, James, 709.
Tilghman, Col. Tench, 334;
Memoirs, 407;
Diary of Yorktown, 554.
Tilton, James, 337.
Tioga (Tiaoga), 609;
attacked, 636;
plan of, 681.
Tioga Valley, 641.
Tiverton, R. I., 600.
Tobacco trade restricted, 8, 9.
Todd, C. B., Redding, Conn., 348;
on Col. Ledyard, 562;
Joel Barlow, 467.
Todd, Col. John, 723;
on Kaskaskia, 729;
his Record Book, 730.
Tomahawk improvements (squatter rights), 611.
Tom's River, 744.
Tonicas Indians, 702.
Tonyn, Gov., 522.
Topham, John, 219.
Tories, acc. of, by T. B. Myers, 351;
at Wyoming, 635.
See Loyalists.
Totowa, 404.
Towle, N. C., Constitution of the U. S., 74, 274.
Town, Ithiel, Particular Services, 341, 546, 589.
Town and County Mag., 209.
died, 39;
in the Stamp Act debates, 72.
Townshend, C. H., Invasion of Conn., 557.
Townshend, Jos., on Brandywine, 419.
Townshend, M. I., on Burgoyne's exped., 366.
resisted, 42;
misunderstood by Bancroft, 64;
attempt to repeal, 51;
repealed (except on tea), 52.
Trade monopolized by English merchants, 5.
Transylvania (Kentucky), 716.
Treaty of Paris (1783), 747.
See Paris.
Trecothic, alderman, 51.
Tremain, Grenville, 466.
Trenton, N. J., surprise at, 374;
authorities, 407;
maps, 408-412;
court-martial of the Hessian officers, 412;
picture by Trumbull, 412;
current verses, 412;
flag captured, 412.
Troup, Col. Robert, on the Conway Cabal, 447.
Trout, Rev. Jacob, 418.
Trowbridge, Edmund, autog., 50.
Trumbull, Henry, Indian Wars, bibliog. of, 651;
its various titles, 651;
reprinted by Pritts, 651.
Trumbull, Col. John, painted Moultrie, 172;
his picture of Bunker Hill, 190, 197;
plan of the siege of Boston, 207;
his painting of Death of Montgomery, 220;
paints John Adams, 36;
autobiog., 189;
portrait of Putnam, 193;
plan of Boston Neck lines, 211;
paints St. Clair, 297;
Schuyler, 298;
map of Ticonderoga, 350;
paints Col. Tallmadge, 457;
arrested in London, 463;
his picture of Yorktown, 506;
of Trenton, 412;
his portrait of Gen. Greene, 510;
of Morgan, 511;
on the Rhode Island campaign, 597.
Trumbull, Col. Jonathan, diary at Yorktown, 554.
Trumbull, Gov. Jonathan, his letter to Gage, 181.
Trumbull, Jos., 203.
Trumbull, James H., on "Sons of Liberty", 72;
edits Mott's journal, 213;
on the origin of the Ticonderoga expedition (1775), 213;
on the Indian Wars of H. Trumbull, 651.
Trumbull MSS., 681.
Tryon, Gov., seeks safety on a man-of-war, 107;
his seal and autog., 140;
his proclamation (1776), 325;
the Hickey Plot, 326;
orders a map of N. Y. province made, 341;
report on the province, 341;
his address to the people of Conn., 557;
Address on his late expedition, 557;
invades Connecticut, 557.
Tryon County, N. Y., 645, 659.
Tucker, Dr. Josiah, Dean of Gloucester, 75;
and Franklin, 74;
on the Amer. Rev., 254;
tracts, 75;
Letter from a merchant, 75;
Series of answers, 75;
Humble Address, 75.
Tucker, Sam., of New Jersey, joins the enemy, 370.
Tucker, Com. Samuel, at siege of Charleston, 524;
orders to command the "Boston" in fac-simile, 566;
his career, 567;
takes John Adams to France, 567;
his log-book, 567;
his papers, 567;
lives of, 567;
in the "Boston", 583;
his parole in fac-simile, 583.
Tucker, St. George, on Guildford, 541.
Tuckerman, H. T., America and her Commentators, 560;
Silas Talbot, 603;
on Daniel Boone, 708.
Tudor, Wm., letters to, 7, 9, 88, 187;
his Otis, 70;
his Massacre oration, 446.
Tugaloo River, 676.
Tupper, Benj., 325.
Turkey Hill (R. I.), 596, 598, 602.
Turner, H. E., Greenes of Warwick, 510.
Turner, O., Phelps and Gorham Purchase, 670.
Tuscaroras, Col. Butler among the, 619;
their lands, 610;
mostly took the American side, 623.
Tuttle, J. F., Hibernia Furnace, 108;
Morris County, 407;
Rev. Forefathers, 407;
Washington in Morris County, 407;
Washington at Morristown, 417;
on the camp at Morristown, 559.
Twightwees, 610.
Two-penny Act, 24.
Tyler, Albert, Bennington, 301, 356.
Tyler, John, Address at Jamestown, 107.
Tyler, Moses Coit, on Patrick Henry, 107;
his Patrick Henry, 723.
Tyng, D. A., 746.
"Tyrannicide", her log, 582;
takes the "Revenge", 586.
Uhlhorn, J. F., 712.
Ulloa at New Orleans (1766), 737.
Union, growth of, in the colonies, 79;
symbol of disjointed snake, 79.
United States, independence of, growth of the sentiment, 231;
Public Land Laws, 247.
See Congress, Independence, etc.
Universal Asylum, 207.
Universal Magazine, 463.
Upham, W. P., 205;
Life of Gen. Glover, 325.
Urquhart, James, 209.
Valcour Island, fight at, 292, 346;
map of, 347.
Valentine, N. Y. City Manual, 331.
Vallancey, Capt. C., 543.
Valley Forge, 416;
Committee of Congress at, 393;
Baron Steuben at, 393;
condition of army, 436;
encampment, 389;
French alliance celebrated, 439;
life at, 437;
plan of camp, 439;
Washington's H. Q., 439.
Van Cortlandt, Philip, autobiography, 670.
Van Dyk, Col., 467.
Van Schaick, Col., attacks the Onondagas, 639;
marches to Cherry Valley, 626.
Van Schaick's Island, 298.
Van Wart, Isaac, 456.
Vandalia, 708.
Varick, Col. Richard, at Freeman's Farm, 316;
on the Saratoga campaign, 356;
aide to Arnold, 460;
his papers, 460.
Varnum, Gen., abandons Fort Mercer, 389.
Vaughan, Benj., his ed. of Franklin's Pieces, 653.
Vaughan, David, 341.
Vaughan, Samuel, his journal, 506.
Vermont, constitutional movements in, 274;
Documents relating to the resistance to Burgoyne, 354;
proclamations issued by Burgoyne and Schuyler, 350;
signs of defection in, 646.
Vermont Quart. Mag., 356.
Vernon, Wm., autograph, 566.
Verplanck House, 746.
Verreau, Invasion du Canada, 216.
Vigo, Col. F., 724.
Villefranche, his maps of the Hudson, 456, 462.
Vincennes (Indiana), 704;
fort at, 719;
evacuated by the British, 722;
taken by Hamilton, 724;
authorities, 729.
Vinton, J. A., 191.
Virginia, action for a congress (1774), 99;
address to the king (1769), 83;
Address to the Convention, 272;
British in (1779-80), 546;
Calendar of State Papers, 515, 649;
commerce of (1671), 64;
(1770, etc.), 64;
com. of correspondence, 90;
Constitution of, written by George Mason and Thomas Jefferson, 261;
adopts a constitution, 272;
Declaration of Rights, 272;
in the Cont. Congress, 234;
Dunmore in (1775), 122;
disputes of bounds with Penna., 248;
over Ohio lands, 709;
influence in the Ohio country, 715;
early naval movements, 565;
effect of Boston Port Bill, 96;
establishes intercolonial com. of corresp., 54, 56;
fight at the Great Bridge, 168;
Norfolk destroyed, 168;
maps of, 538;
militia, 485;
at Camden, 533;
military ardor in (1774), 116;
(1775), 107;
planting wheat instead of tobacco (1775), 121;
plundering expeditions to, 495;
Arnold in, 495;
Steuben in, 515;
sympathy for Boston (1769), 46, 113;
non-importation agreement, 47;
Ohio country a county, 729.
Von Holst, Const. Hist. U. S., 274.
Von Mirbach, 329.
Von Stern, 329.
treaty with, 724.
See Ouabache.
Wabash Land Company, 650.
Waddell, A. W., on the Regulators, 80.
Wade, Col. Nath., 460.
Wadsworth, Gen. Peleg, in the Penobscot expedition, 603;
letters, 603.
Wadsworth, Jas., on the Danbury exped., 348.
Wager, D. E., 626.
Wakefield, Ebenezer, 357.
Waldo, J. & D., 47.
Waldo, Sergt., diary at Valley Forge, 436.
Walker, B., Life of Paul Jones, 590.
Walker, C. I., Northwest during the Rev., 733.
Walker, Dr., in Kentucky, 715.
Walker, James, 421.
Walker, Mrs. Thomas, 222.
Walker, Statesmen's Manual, 274.
Wallabout Bay, 328.
Wallace, Sir James, 471.
Waller, Adj., letter, 194;
orderly-book, 205.
Walmscook, 356.
Waln, Robert, life of James Wilson, John Morton, Stephen Hopkins, Thomas McKean, 265;
Josiah Bartlett, William Williams, Samuel Huntington, Geo. Rymer, Matthew Thornton, William Whipple, Robert Morris, Abraham Clark, 265;
John Hart, 266;
of Francis L. Lee, 266.
Walpole, Horace, 175;
and the American war, 112;
his George the Third, 112;
his Last Journals, 112.
Walpole Grant on the Ohio, 687, 708.
Walton, Geo., life, 265;
autog., 266.
Walworth, Mrs. Ellen H., Burgoyne and the Northern Campaign, 315;
on Burgoyne's surrender, 358.
Wangenheim, map of movements in Jersey, 409;
surveys of Forts Clinton, etc., 364.
Ward, Andrew H., Ward family, 192;
Shrewsbury, 192.
Ward, Artemas, made general, 116;
made second to Washington, 142;
commissions Mugford, 567;
on the Penobscot exped., 603, 604;
sluggish, 133;
his papers, 159;
resigned, 159;
supposed to be older than he was, 189;
notices, 191;
autog., 192;
letters from Cambridge, 203.
Ward, Geo. A., finds Paul Jones' papers, 590.
his order on the field at Bunker Hill, 138.
Ward, R. D., Lafayette's visit to Va., 555.
Ward, Gov. Samuel, 220, 222, 565;
his journal, 565.
Ward, Samuel, on Long Island battle, 329;
Battle of Long Island, 331.
Ward, Townsend, 423.
Ware, Joseph, Journal, 219.
Warner, Col. Seth, at Crown Point, 129;
acc. of, 129;
at Bennington, 301;
letters, 350;
notices by G. F. Houghton, 356;
by Highland Hall, 356;
by Chipman, 356.
Warren, Benjamin, at Cherry Valley, 666;
diary, 360.
Warren, Edw., John Warren, 194.
Warren, G. W., Bunker Hill Mt. Asso., 191.
Warren, Isaac, Almanac, 342.
Warren, Gen. James, autog., 566;
committee of correspondence, 89;
on Bunker Hill, 187;
letters, 203.
Warren, Dr. John, 188.
Warren, John C., 193.
Warren, Gen. Jos., 60;
his circular letter (1773), 57;
writes call for the tea-ships meeting in Boston, 91;
his attack on Bernard, 83;
draws up Suffolk Resolves, 100;
quells disturbance at Cambridge, 115;
his address on Boston Massacre, 88, 119;
the MS., 120;
on Lexington day, 125;
his last note, 132;
made general, 133;
Bunker Hill, 137;
portrait, 54;
by Norman, 193;
by Trumbull, 197;
letter on capture of Ticonderoga, 214;
on independence, 258;
purposes of Congress on his death, 194;
memorials of, 194;
statue of, 194;
accounts, 194;
remonstrates with Connecticut for sending messenger to Gage, 128;
killed, 139.
Warren, Mercy, The parody parodized, 86;
letters, 203.
Warren Genealogy, 194.
Warren (R. I.), 600.
Warwick (R. I.), 600.
Washington, George, in the Congress of 1774, 237;
would march 1,000 men to Boston, 114;
active in Virginia (1775), 131;
made commander-in-chief, 108, 133;
references, 133;
commission and instructions, 133;
his first letter from Cambridge, 141;
fac-simile of its heads, 141;
reaches Cambridge, 142;
assumes command of the army, 142;
holds council of war, 142;
his headquarters in Cambridge, 142;
disappointed in the N. E. troops, 144;
deficient in powder, 145;
Proclamation of repossessing Boston, 159;
moves his army to New York, 160;
sends Sullivan to Canada, 166;
letters on the siege of Boston, 173, 203;
their condition and repositories, 173;
entertains Caghnawaga Indians, 203;
medal for the siege of Boston, 206;
instruction for the Kennebec expedition, 217;
his army, 275;
headquarters on Richmond Hill, 276;
his other headquarters in N. Y., 276;
retreats from Brooklyn to N. Y., 281;
condition of his army, 281;
urges enlistments for the war, 282;
calls for better officers, 282;
proposes to burn New York, 283, 334;
not wishing independence (1775), 255;
headquarters at Harlem, 284;
his army along the Bronx, 285;
at White Plains, 286;
at New Castle, 286;
rude cut of, 311;
on the battle of Brooklyn, 326;
plot to assassinate, in N. York, 326;
retreats from Long Island, 330;
the question of a fog, 330;
evacuates New York, 333;
at Harlem, 334;
movements above N. Y. (1776), 337;
orders the evacuation of Fort Lee, 367;
retreats through the Jerseys, 368;
given dictatorial powers, 373, 376;
attacks Trenton, 374;
at Princeton, 378;
his letters on the campaign of 1776, near N. York, 344;
in winter-quarters at Morristown, 379;
at Middlebrook, 379;
marches through Philad., 380;
at Brandywine, 381;
retreats to Chester, 382;
to Philadelphia, 382;
at Germantown, 385;
at Whitemarsh, 389;
at Valley Forge, 389;
proclamation about grain, 390;
distrusted in Congress (1777), 391;
the Conway Cabal, 392;
watches Clinton's withdrawal from Philad., 397;
pursues Clinton, 398;
at Monmouth, 399;
authorities on these campaigns, 403;
criticised by Jos. Reed, 403;
as dictator, 407;
in the campaign of 1777, 416;
at Morristown, 417;
at Middlebrook, 417;
marches through Philad., 418;
H. Q. at Brandywine, 419;
falsely informed at Brandywine, 419;
his Brandywine map, 420;
letter from Duché 437;
H. Q. at Stenton, 429;
on the defence of the Delaware, 431;
H. Q. in Philad., 436;
at Whitemarsh, 442;
at Monmouth, 445;
censures Lee, 446;
the Conway Cabal, 446;
his Fabian policy, 446;
reprimands Arnold, 451;
goes to Hartford to confer with Rochambeau, 454, 458;
returned before he was expected, 458;
receives letter from Arnold, 460;
prepares for any emergency, 460;
H. Q. at Tappan, 460;
orders André to be hanged, 460;
his correspondence with Clinton respecting the execution, 461;
his letters on the plot, 461;
H. Q. at Newburgh, 465;
his account of Arnold's conspiracy, 466;
Domestic Life, by Richard Rush, 466;
traduced for executing André, 467, 468;
his justification, 467;
later English authorities approve, 468;
countenanced the exchange of André for Arnold, 468;
encouraged Champe to abduct Arnold, 468;
meets Rochambeau at Weathersfield, 499;
attempts to surprise N. Y. forts, 499;
marches to Virginia, 500;
headquarters at Williamsburg, 506;
his opinion of Henry Lee, 510;
papers on the Yorktown campaign, 515;
on the Yorktown campaign, 549;
thanked by Congress, 549;
his epaulettes, 549;
his journals and orderly-books, 553;
Middlebrook, 556;
at Morristown, 559;
his H. Q., 559;
communications with Rochambeau, 560, 561;
at Totowa and Preakness, 561;
proposed attack with the French on New York forts, 561;
marches to Virginia (1781), 561;
at Livingston Mansion, 562;
was he a marshal of France? 562;
steps leading to his naval authority (1775), 565;
ceased supervision (1776), 567;
suggestions as to privateers, 591;
portrait of, 575;
takes command of the army, 612;
his instructions, 612;
authorized to use Indians, 616, 617, 633;
visited by Indians at Cambridge, 622;
his interest in Western lands, 649;
selects land for soldiers of the French war, 649;
on the Sullivan exped. (1779), 667, 669;
on Brodhead's exped., 671;
sends Arnold up the Kennebec, 673;
sends letter to the Eastern Indians, 674;
his journal in the Ohio region, 709;
his opinion of Clark's project for attacking Detroit, 731;
moves his army to the Hudson (1781), 744;
at Newburgh, 744;
Nicola's letter, 745;
Newburgh addresses, 746;
authorizes Collection of Papers, 746;
cessation of hostilities, 746;
farewell address, 746;
last circular to the States, 746;
at Rocky Hill, 746;
enters New York at the close of the war, 746;
parts with his officers, 747;
goes to Annapolis, 747;
resigns his commission, 747;
at Mount Vernon, 747;
message against Genet, 734.
Washington, Col. William, 481, 537;
at Trenton, 376;
charges at Cowpens, 482;
medal, 539.
Watauga besieged, 478, 676, 679.
Watauga Association, 678, 708.
Waterbury, Col. David, 325;
on Arnold's fight on Lake Champlain, 346.
Wateree River, 475.
Waterloo, N. Y., Library and Hist. Soc. Proc., 681.
Watertown, Mass., Prov. Congress at, 203.
Watrin, Father, Missions of Louisiana, 720.
Watson, Benj. Marston, loyalist, 253.
Watson, Elkanah, Memoirs or Men and Times, 203, 253.
Watson, H. C., Old Bell of Independence or Noble Deeds of our Forefathers, 259.
Watson, John Lee, Paul Revere's Signals, 174.
Watson, W. C., on Arnold's fight at Valcour Island, 377;
Essex County, N. Y., 214.
Wawarsing destroyed, 646.
Waxhaw Creek, Buford's defeat at, 475, 527.
Wayne, Anthony, 445;
at Paoli, 383;
court-martialled, 419;
orderly-book, 437;
at Brandywine, 381;
on Arnold's treason, 466;
on the Northern campaign (1776), 346;
lives of, 514;
portraits, 385;
account of, by De Peyster, 385;
his house, 385;
surprised in Georgia by Indians, 677;
in the Yorktown campaign, 501;
in Georgia, 507;
attacks Stony Point, 558;
at Bull's Ferry, 560;
hero of the Cow Chace, 560;
at Morristown, 561.
Weare, Mechech, his papers, 598.
Weathersfield, Conn., Washington and Rochambeau at, 561;
Webb House in, 561.
Webber, C. W., Hist. and Rev. Incidents, 708.
Webster, Daniel, his correct estimate of the causes of the Revolution, 63;
Address to N. Y. Hist. Soc., 99;
on the Bunker Hill controversy, 190;
orations at Bunker Hill, 194.
Wedderburn, his attack on Franklin, 95.
Weedon, Gen., at Brandywine, 382.
Weems, Mason L., Life of Marion, 512.
Welling, J. C., on the Mecklenburg Resolutions, 257.
Wells, J. C., 729.
Welsh, Thomas, 88.
Wemms, William, 86.
Wemple, Edw., 366.
Wemys, Maj. James, his opinions of generals, 330;
criticises Howe, 330;
his papers, 518;
Wesley, John, protects against the war, 111.
West, Benjamin, 463;
paints Bouquet's likeness, 692;
his sketches of Bouquet's campaigns, 699.
West Cambridge (Mass.) men at Lexington, 184.
West Point, 325, 455, 456, 556;
Moses Greenleaf plan, 451;
views, 463;
history of, by Boynton, 464;
fortified, 557.
Westchester County (N. Y.), history of, 325, 340.
Westchester Farmer (see Seabury, Samuel, and Wilkins, Isaac), 104;
Free Thoughts, 104;
Congress canvassed, 104;
Hamilton's reply, 104;
A View of the Controversy, 104;
authorship in dispute, 104.
Westcott, Henry, Centennial Sermons, 184.
Western, Fort (Augusta, Me.), 163.
Westminster (Vt.) massacre, 172.
Westmoreland Papers, 516.
Westmoreland, Pa., 680.
Weston, Hannah, 564.
Weston, Thomas, Jr., Peter Oliver, 95.
Weymouth, Earl of, 43.
Whaleboat warfare, 591.
Wharton, Anna H., on Thomas Wharton, 272, 405;
Wharton Genealogy, 436.
Wharton, Chas. P., Poetical Epistle to Washington, 575.
Wharton, Samuel, 708;
on Indian lands, 650.
Wharton, Gov. Thomas, 272.
Wharton, Thomas, Jr., 405;
death of, 401.
Wharton family, 436;
their house, 436.
Whately, Thomas, 56.
Wheatley, Phillis, 146.
Wheeler, No. Carolina, 514, 678.
Wheeling, Va., 716.
Wheelock, Col., in the Northern campaign (1776), 346.
Wheelock, Rev. Eleazer, 655;
instructs Brant, 626.
Wheildon, W. W., Siege of Boston, 173;
Revere's Signal Lanterns, 175;
Concord Fight, 184;
Bunker Hill, 191;
Solomon Willard, 194.
Whipple, Abraham, cruising, 565;
sails to Bermuda, 567;
acc. of, 567;
portraits, 567;
letters, 567;
in the "Providence", 582, 583;
his captures, 584;
at Charleston (1780), 524;
autograph order, 472.
Whipple, Christopher, 565.
Whipple, Wm., autog., 263;
life, 265;
on Burgoyne's surrender, 358;
on privateering, 591.
White, Joseph, Battle of Trenton, 406.
White, Philip, 744.
Whitechurch, Robt., 510.
White Clay Creek, Pa., 421.
Washington at, 389.
White Plains, 340;
Washington at, 286;
lines of corn-stalks, 286;
evacuated, 286;
Howe's blunders at, 291;
American position at, 336, 337;
references, 337;
Col. Hazlett's letter, 337.
Whitney, James L., Lit. of Nineteenth April, 185.
Whitney, Josiah, on Putnam's death, 190.
Whitney, Miss, statue of S. Adams, 41.
Whittier, J. G., "Great Ipswich fight", 128.
Whittlesey, Col. Chas., Expedition of Dunmore, 714;
Whittlesey, Capt. Ezra, 613.
Whittlesey, E. D., on Marshall's acc. of Danbury exped., 348.
Whyte, Robert, 425.
Wickes, Lambert, capt. in the navy, 370;
carried the first national vessel across the ocean, 571;
takes Franklin over, 571;
cruises around Ireland, 572;
difficulties in French ports, 572;
lost at sea, 573.
Wiederhold, plan of Trenton attack, 511.
Wilbur's Basin, 309.
Wild, Ebenezer, 220.
Wilkes, John, 11;
and the "Sons of Liberty", 72;
his efforts and speeches, 110, 121;
his comments on Burgoyne's speeches, 365;
"Wilkes and Liberty", 28.
Wilkesbarré, 606.
Wilkins, Isaac, his tracts, 104.
Wilkinson, Eliza, Letters, 520, 527.
Wilkinson, Gen. James, on Freeman's Farm, 356;
in Canada, 222;
plan of Trenton, 412;
of Princeton, 413;
Memoirs, 189;
carries news of Burgoyne's surrender to Congress, 358.
Wilkinson, J. B., Binghamton, 670.
Wilkinson, W. C., 361.
Willers, Diedrich, Jr., Sullivan's Campaign, 670.
Willet, Col. Marinus, at Fort Stanwix, 299, 350, 628;
attacks St. Leger's camp, 631;
in command on the Mohawk, 645;
threatens Oswego, 646.
Willett, W. M., Marinus Willett, 350, 670.
William and Mary, their charter for Mass. destroyed, 114.
Williams, Capt., 728.
Williams, Col., 475.
Williams, Mrs. C. R., Biog. of Rev. Heroes, 404.
Williams, J. F., in the "Hazard", 582;
in the "Protector", 582;
engages the "Duff", 582;
her log, 582;
commands the Massachusetts fleet, 582.
Williams, Lieut., 148.
Williams, O. H., under Greene, 484;
at Guildford, 485;
accounts of, 537;
on Hobkirk's Hill, 542;
at Ninety-Six, 544;
at Eutaws, 545;
Campaign of 1780, 530;
in the South, 476.
Williams, Richard, plan of American lines round Boston, 212.
Williams, Wm., 187;
autog., 263;
life of, 265.
Williamsburg, Va., Wayne at, 501;
American army at, 501;
Washington's headquarters at, 506;
maps of, 553.
Williamson, Col. Andrew, map of his marches, 675;
invades Indian territory, 676.
Williamson, Col. David, 735, 736;
murders Indians, 736.
Williamson, Hugh, on the tea-ship commotions, 91;
on North Carolina Revolutionary history, 514.
Willing, Anne, 693.
Willing, Thos., 383.
Wilmington, Del., 421.
Wilmington, N. C., occupied by the British, 487;
map, 542.
Wilson, Chas., Burgoyne's Campaign, 361.
Wilson, D., Jane McCrea, 627.
Wilson, James, Considerations, etc., 106;
autog., 265;
life, 265.
Wilson, L., 461.
Wilson, R., 545.
Wilson, Thos., Biog. of the Principal American Heroes, 530.
Wilson, Memoir of Bishop White, 438.
Winnebagoes, 739.
Winsor, Justin, "Notes on the Causes of the Revolution", 68;
"The Conflict Precipitated", 113;
references on the siege of Boston, 172;
bibliography of Bunker Hill, 185;
edits Ware's journal, 219;
notes on the campaign round N. Y. (1776), 323;
notes on the authorities for the campaigns of 1777-1778, 403;
"The Treason of Arnold", 447;
"Events in the North, 1779-1781", 555;
on the extent of the Continental army, 588.
Winstanley paints John Adams, 36.
Winter Hill (near Boston), 206;
lines at, 207;
Winthrop, Hannah, 318.
Winthrop, James, at Bunker Hill, 202.
Winthrop, Prof. John, 187, 205.
Winthrop, Madam, 180.
Winthrop, R. C., on Charles Hudson, 184;
on R. Frothingham, 186;
Address on unveiling Prescott's Statue, 194;
Oration at Yorktown, 555;
address on Fort Griswold, 562.
Winthrop, Sam., autog., 50.
Wister, Sally, diary, 436.
Withers, Alex. S., Chronicles of Border Warfare, 248, 711.
Witherspoon, John, in Congress, 244;
autog., 264;
life, 265.
Withington, L., 219.
Woedtke, Baron de, letters, 225.
Wolcott, Oliver, autog., 263;
life of, 265;
on Bemis's Heights, 357.
Wolcott, Oliver, Jr., life of O. Wolcott, 265.
Wood, Sylvanus, 183.
Woodbridge, Col. Ruggles, 346.
Woodbridge, N. J., 372.
Woodbury, James T., 184.
Woodd, Lieut., 148.
Woodford, Gen., at Germantown, 385;
and his Virginians, 525.
Woodhull, Gen., captured, 280;
death of, 330.
Woodruff, Samuel, 357.
Woodstock, N. Y., 639.
Woolsey, Theodore, 464.
Woolson, C. F., "Up the Ashley", 471.
Wooster, Gen. David, killed, 348;
monuments to, 348;
near N. Y. (1776), 153;
differences with Schuyler, 161;
and Montgomery, 162;
in the Canada expedition, 220;
his character, 220;
portrait, 225;
autog., 225;
at Montreal, 165;
at Quebec, 166;
recalled from Canada, 167.
Worcester, S. T., Hollis, 190.
Wragg, Wm., 79.
Wraxall, Hist. Memoirs, 112.
Wright, Aaron, 203.
Wright, Gov. Sir James, of Georgia, 611;
letters to Dartmouth, 90;
on the number of Indians, 651;
correspondence, 675.
Wright, Joshua G., Address, 168.
Wright, W. E., translates Rochambeau's Memoirs, 516.
Writs of Assistance, 68;
opposed by Otis, 11;
explained, 11;
legalized, 39;
references, 65;
enforced by Bernard, 65.
Wrottesley, Sir John, 330.
Wyandots, 610;
their home, 735.
Wyatt, Thos., Generals presented with Medals, 537.
Wyoming, 606;
Moravian Indians at, 606;
attacked, 634;
population of the valley, 634;
fortified, 634;
Forty Fort, 634;
defeat of Col. Butler, and massacre, 635;
losses, 635;
retreat of the invaders, 636;
account of massacre, 653;
early accounts, 662;
general accounts, 665;
bibliog., 665.
Wyoming Valley invaded by Pennsylvanians to dispossess the Connecticut settlers, 680.
Wythe, Geo., 716;
autog., 265.
Yale Book, 189.
Yonge, C. D., British Navy, 589;
Constitutional Hist. of England, 75.
York, Pa., Congress at, 391, 419.
Yorke, Sir Joseph, his correspondence, 592.
Yorktown, campaign of, 547;
evidence on the responsibility of Cornwallis of Clinton, 548, 549;
correspondence of the surrender, 549;
news received in London, 549;
prisoners taken, 549;
inquiry into the campaign in England, 516;
debates in Parliament, 516;
news received in England, 555;
acc. of centennial of, 555;
responsibility for the surrender, 516;
siege of, 501;
surrendered, 504;
forces engaged, 504;
fac-simile of articles of capitulation, 505;
Nelson House, 506;
Moore House, 506;
view of the capitulation field, 506;
medals, 506;
Trumbull's picture, 506.
Young, Arthur, Observations, 709.
Young, J., assigned to the "Saratoga", 583.
Young, Thomas, 88.
Young, Sergeant Wm., 406.
Younglove, Moses, 683;
his captivity, 659.
Zane, Elizabeth, 716.
Zeigler, W. B., Heart of the Alleghanies, 536.
Zeisberger, David, 734;
diary edited by Bliss, 736.
[1] The liberal party; for even as late as the Declaration of Independence, the Tory party were, by estimation, two fifths of the whole population.
[2] The validity of this title in the crown was recognized by the congress at Albany in 1754. Proceedings, in Mass. Hist. Coll., xxv. 64.
[3] The exercise of the prerogative, as a cause of the Revolution, finds its just prominence in Frothingham's Rise of the Republic, passim.
[4] Franklin thought differently. "The charters are sacred. Violate them, and then the present bond of union (the kingly power over us) will be broken." Works, iv. 296; Hutchinson, History, iii. 172. But see Chalmers's Opinions concerning Colonies, Index, under King.
[5] Its most serious invasion was when the Long Parliament, from the necessity of the case, exercised sovereign powers,—that of the prerogative among others.
[6] There is a notable instance in the case of the judicial tenure. By the British Constitution, the king is not only the fountain of justice, but by a legal fiction he administers it in person, as James I. once proposed to do; and on this theory of actual presence, he chooses his representative and removes him at pleasure. It follows that, when the king dies, the authority of his representative ceases. And such was the case until the reign of William III., when it was attempted to limit the king's prerogative, but with only partial success. By 12 and 13 Will. III. ch. 2 (1701), the judicial tenure was during good behavior instead of the king's pleasure. But George III., a most strenuous asserter of his prerogative, in 1761, soon after his accession, declared to the two Houses that he regarded the independence of the judges as one of the best securities of the rights and liberties of his subjects, and recommended that they should hold office, with settled and permanent salaries, during good behavior, notwithstanding the demise of the crown (House Journal, vol. xxviii. 1094); and this became the law by I Geo. III. ch. 23. Constitutionally the king sat in his provincial courts as well as in British courts, and his surrender of the prerogative ought to have extended to the former. That, however, was not the decision in 1763, when the New York Assembly remonstrated at the appointment of Chief Justice Prat, to hold during the king's pleasure, by whom his salary was paid. This caused great dissatisfaction in the colonies, and in Massachusetts especially, in 1773, when the judges were paid by the king. The matter was not free from practical difficulties. The king had rights to the revenue which colonial juries would not respect; and consequently in 1698 Parliament set up admiralty courts without juries. The king was also interested in the administration of the civil and criminal law; but unless the judges conducted themselves so as to suit the people, the representatives cut down their salaries,—that is, starved them into compliance with the popular will; consequently, the king thought it best not only to retain but to use his prerogative, with respect to the appointment, tenure, and pay of the provincial judges.
[7] "Give me leave to ask you, young man, what it is you mean by repeating to me so often, in every letter, the Spirit of the Constitution?" (Dean Tucker, Letter from a Merchant in London to his Nephew in America, 1766.)
[8] This was Jefferson's position, but he said he could get only Wythe to agree with him in the early days of the Revolution (Writings, Boston ed., 1830, vol. i. 6).
[9] "Why may not an American plead for the just prerogatives of the crown?" (Works, iv. 218.) "The sovereignty of the crown I understand. The sovereignty of the British legislature out of Britain I do not understand" (Ibid., 208). "Our former kings governed their colonies as they had governed their dominions in France, without the participation of British Parliaments" (Ibid., 262). "America is not part of the dominions of England, but of the king's dominions" (Ibid., 284). This theory he carried to the farthest extent, and wrote that "when money is wanted of the colonies for any public service, in which they ought to bear a part, call upon them by requisitional letters from the crown (according to the long-established custom) to grant such aids as their loyalty shall dictate and their abilities permit" (Ibid., 156).
[10] Works, x. 321.
[11] The Rights of Great Britain Asserted, 82.
[12] An American annual revenue of less than two thousand pounds cost Great Britain between seven and eight thousand pounds a year (Bancroft, orig, ed. v. 88, citing the Grenville Papers).
[13] Vol. III. pp. 182, 267, and 381.
[14] A summary of these acts may be found in Adam Smith's Wealth of Nations, ii. 201; and they are discussed by John Adams in a series of letters to William Tudor (Works, vol. x. passim). The first act is understood to be a substantial reënactment of a law of the Long Parliament in 1651, suggested by Sir George Downing, a native of New England.
[15] Such, at least, seems to be the effect of the words "in English-built shipping", in the act of 1663, excluding those "of the built and belonging to" the colonies which were permitted by the act of 1660. But were the commodities and manufactures of England included among those of "Europe" which could be exported to the colonies only in English-built ships, or could the colonists send their own ships for them?
[16] From overlooking this option, this clause of the act has received unmerited obloquy. It was simple justice to the British trader.
[17] This legislation may be traced in the Table to the Statutes at Large, vol. ix., title Plantations, and, in part, in John Adams's Works, vol. x. 350, note. See also Franklin's Works, iv. 250, 400.
[18] Wealth of Nations, vol. ii. 435.
[19] Colonial Policy, vol. i. 7, 239.
[20] Cf. on this point a paper by Charles Deane in the Amer. Antiq. Soc. Proc., Oct., 1886.
[21] Rights of Great Britain Asserted, 87. But see Franklin's opinion as to these bounties (Works, iv. 225).
[22] Burke's Works, i. 457, Boston ed.
[23] Colonial Policy, i. 156.
[24] But see Works, iv. 301: "Depend upon it, the Americans are not so impolitic as to neglect settlements for unprofitable manufactures; but some manufactures may be more advantageous to some persons than the cultivation of lands."
[25] Burke's European Settlements in America, ch. vii.; Works, ix. 328.
[26] See Franklin's "Rules for Reducing a Great Empire to a Small One", in Works, iv. 387.
[27] See Thacher's "Draft of an Address to the King and Parliament", in Proc. Mass. Hist. Soc., vol. xx. p. 49.
[28] Works, x. 248.
[29] The writs to which he attributed so much importance require explanation. A vessel laden with dutiable goods ought to enter some established port and manifest her cargo at the custom-house for payment of duties. This the government justly demands, and with it the fair trader readily complies. Not so the illicit trader. Before reaching port he may discharge a portion of the cargo in some place remote from the custom-house; or in a regular port, by connivance, he may secrete a portion of it, and thus escape paying duties. In either case the revenue officer needs a search-warrant for such goods. If he applies to the court, he must set forth a general description of the goods concealed and the place where, together with the names of witnesses. This is recorded, and may be known to all parties interested. The result is, that the informer subjects himself to private animosity and public obloquy, and the goods meanwhile may be removed to some other place. This process may be repeated indefinitely, with like results. What the officer needs, therefore, is a general warrant, good for an indefinite time, not returnable into the court, and authorizing search of all suspected places at all hours of the day, for any dutiable goods supposed to be concealed. This is a Writ of Assistance. Its formidable nature is readily understood, and the objections to it are apparent. It is like those General Warrants which made a great noise in England in connection with John Wilkes (Campbell's Lord Chancellors, v. 207, American ed.; Parliamentary History, 1764, vol. xv. 1393). They are prohibited by the Bill of Rights in the Massachusetts Constitution, drafted by John Adams, as infringing the right of the citizen to protect his house from unreasonable search; and when the Constitution of the United States, without a similar provision, was submitted to the people, its absence was noticed, and the omission supplied by the fourth amendment. Such writs are now in force in England (16 and 17 Vict., ch. 107, sec. 221), but not in the United States.
[30] 7 and 8 Wm. 3, ch. 22, sec. 5.
[31] "Boston, Feb. 19th, 1753. Whereas, I am informed there still continues to be carried on an illicit trade between Holland and other parts of Europe, and the neighboring colonies, and that great quantities of European and Asiatic commodities are clandestinely brought from thence unto this port by land as well as by sea; and as I am determined to use my utmost endeavors to prevent the carrying on of a trade prejudicial to our mother country and detrimental to the fair trader, I hereby again give this public notice that if any person or persons will give me information where such goods are concealed, that they may be proceeded against according to law, they, upon condemnation, shall be very handsomely rewarded, and their names concealed; and I hereby direct all the officers of the customs within my district to be very vigilant in discovering and seizing all such contraband goods. H. Frankland, Coll." (Nason's Frankland, p. 44.)
[32] Hutchinson, History, iii. 92.
[33] Quincy's Reports, Appendix, 407.
[34] It is of little consequence whether the merchants were instigated by one Barons, a dismissed revenue officer, or by Otis, supposed to have been influenced by the appointment of Hutchinson as Chief Justice to the exclusion of his father, who had cherished expectations of elevation to the bench on the first vacancy (Hutchinson, History, iii. 86; Tudor's Life of Otis, 55; and John Adams's Works, x. 281).
[35] Quincy's report, which is of the second hearing, Nov. 18, 1761, gives little more than the authorities cited. Minot adds a point in Gridley's argument (History, ii. 89). John Adams's notes, taken at the first hearing in February, may be found in his Works, ii. 521, and a more extended report, in Minot, ut supra, 91, and in Tudor's Life of Otis, 63. See also John Adams's Works, vol. x. passim.
[36] Horace Gray, Jr., sums up the whole matter in the following paragraph: "A careful examination of the subject compels the conclusion that the decision of Hutchinson and his associates has been too strongly condemned as illegal, and that there was at least reasonable ground for holding, as matter of mere law, that the British Parliament had power to bind the colonies that even a statute contrary to the Constitution could not be declared void by the judicial courts; that by the English statutes, as practically construed by the courts in England, Writs of Assistance might be general in form; that the Superior Court of Judicature of the province had the power of the English Court of Exchequer; and that the Writs of Assistance prayed for, though contrary to the spirit of the English Constitution, could hardly be refused by a provincial court, before general warrants had been condemned in England, and before the Revolution had actually begun in America. The remedy adopted by the colonies was to throw off the yoke of Parliament; to confer on the judiciary the power to declare unconstitutional statutes void; to declare general warrants unconstitutional in express terms; and thus to put an end here to general Writs of Assistance" (Quincy's Reports, Appendix, 540).
[37] Works, x. 183.
[38] Hutchinson, iii. 100.
[39] Pownall's Administration of the Colonies, 3d ed., Appendix, iii. 40.
[40] In 1763, when the Indians on the southern frontiers were menacing, Gen. Gage required 750 men from Massachusetts to assist in a movement against the Indians on the lakes. The House declined nor would it yield even when the Secretary of State urged compliance (Minot's History, ii. 142). But while Massachusetts refused the required assistance, Connecticut, though reluctantly, granted it,—a fact of much significance in respect to the reliability of voluntary contributions for the common defence of the colonies.
[41] More than 400 privateers had been fitted out from the colonial ports, which had cruised against French property even as far as the coast of France (Ramsay, Amer. Rev., i. 40).
[42] Grahame, Hist. U. S., iv. 138.
[43] See Vol. V. p. 613.
[44] See Vol. V. p. 177.
[45] In England, admiralty courts were without juries; but revenue cases were tried in the Court of Exchequer, with juries.
[46] Grahame gives a full and graphic account of these changes (Hist. U. S., iv. 170).
[47] "For some time before and after the termination of the war of 1755, a considerable intercourse had been carried on between the British and Spanish colonies, consisting of the manufactures of Great Britain imported by the former and sold to the latter, by which the British colonies acquired gold and silver, and were enabled to make remittances to the mother country" (Ramsay, Amer. Rev., i. 44).
[48] History, ii. p. 147.
[49] Works, x. 345.
[50] The expression is Governor Bernard's in January, 1764 (Frothingham's Rise of the Republic, 123, note). The consequences of breaking up the West India trade by the enforcement of the navigation laws, and its influence upon the minds of the commercial colonies, will more fully appear in the following facts. The sugar colonies, being cultivated by slaves, afforded an insufficient market for English manufactures. Consequently, the large ships which were needed to bring off sugar and molasses were obliged to proceed thither without profitable freight. But the Northern colonies, and New England in particular, could supply the islands with the commodities they needed,—cattle, horses, lumber for buildings, casks for sugar and molasses. A cargo of these commodities sent to the islands was exchanged for sugar and molasses, which were brought to New England; or for bullion, which, with a cargo of sugar, was carried to Old England. The freight money and bullion were exchanged for British merchandise, which was brought to New England, thus making a profitable double voyage. With her advantages of position and of profitable freight, New England also became the carrier of the sugar of the French islands to Spain.
[51] As to illicit trade in Rhode Island, and the measures to prevent it, see Bartlett's Destruction of the Gaspee, 6.
[52] History, iii. 108.
[53] Ibid., iii. 106.
[54] Hist. U. S., final revision, iii. 73. Two things in the above summary require explanation. Merchandise imported into England was subject to heavy duties; but if it was reëxported to America, then these duties, in whole or in part, were repaid to the importer, and the result would be that the colonists could purchase wines and Continental goods cheaper than could be done by British subjects at home. To equalize this burden, and still to derive a revenue, these drawbacks were reduced; and, of course, the British Exchequer would gain the amount of this reduction.
In the Treaty of 1763, two small islands, St. Pierre and Miquelon, on the south coast of Newfoundland, were accorded to France for the convenience of her fishing vessels. But they had been made ports of an illicit trade with the American colonies. Hence the prohibition of all trade with them.
[55] Printed as an appendix to Otis's Rights of the British Colonies.
[56] Journal of the House, 1764, 53. This paper was not Otis's pamphlet with a similar title, though it may have been the substance of it. See Frothingham, Rise of the Republic, 169, n.
[57] Ibid., 66.
[58] Ibid., p. 72.
[59] The reader of Tudor's Life of Otis, 170, would infer that Hutchinson was chosen agent at this time instead of in the January preceding. House Journal, 1763-4, 236.
[60] Hutchinson's History, iii. 112.
[61] Minot's History, ii. 168.
[62] Mass. State Papers, 18 et seq.
[63] Frothingham's Rise of the Republic, p. 171.
[64] Hutchinson's History, iii. 103. Two Americans, Franklin and William S. Johnson, were reporting on the Wilkes turmoils in England, at this time, to their home correspondents. Cf. Franklin's Works (Sparks's ed.), vii. 401, 403; Bigelow's Life of F., ii. 9; Mass. Hist. Soc. Coll., xlix., 270 et seq.
[65] Bancroft, History, v. 275.
[66] These resolutions are in Ramsay, Amer. Rev., i. 59.
[67] The proceedings, with the circular letter, may be found in the Mass. State Papers, 35.
[68] Of the colonies south of New England, South Carolina was the first to agree to the proposed congress. Ramsay, Amer. Rev., i. 68.
[69] Later, in December, he was compelled to renounce his office under circumstances of special ignominy, from which his age and character afforded no protection.
[70] Frothingham's Rise of the Republic, 184.
[71] Frothingham gives a summary of these papers, with the names of the committees who drafted them (Rise of the Republic, pp. 186, 187).
[72] Though this day was observed in several colonies by the tolling of bells, closing of shops, funeral processions, and other demonstrations of hostility to the act, there was no violence (Ramsay, Amer. Rev., i. 68, 70).
[73] Mass. State Papers, 61.
[74] Parliamentary History, xvi. 133 et seq.
[75] Mass. State Papers, 81.
[76] Mass. State Papers, 91, 92.
[77] Mass. State Papers, 94.
[78] Parliamentary History, vol. xvi. 359; Prior Documents, 134. During the adjournment a double broadside had been issued, containing the proposed bill for compensation, an extract from Secretary Conway's letter to Governor Bernard, and letters from De Berdt, the agent, advising compliance with the parliamentary recommendation. A copy is in the Boston Public Library.
[79] Mahon's Hist. of Eng., v. 81.
[80] Parliamentary History, vol. xvi. 331.
[81] Bradford, History of Mass., i. 97.
[82] Parliamentary Hist., xvi. 375.
[83] 7 Geo. III. ch. 41, Statutes at Large, vol. x. 340.
[84] 7 Geo. III. ch. 46, Ibid., 369. Bancroft's account of these Acts is not quite accurate (History, vi. 84, 85): "By another Act (7 Geo. III. ch. xli.) a Board of Customs was established at Boston, and general Writs of Assistance were legalized." The execution of the Laws of Trade was placed under the direction of Commissioners of Customs, "to reside in the said Plantations", where the king should direct,—not localized at Boston. It was by ch. xlvi. sec. x., not xli., that Writs of Assistance were legalized. But a more serious error is in the statement that "Townshend's revenue was to be disposed of under the sign-manual at the king's pleasure. This part of the system had no limit as to time or place, and was intended as a perpetual menace." This is far from being accurate. By section iv. it is provided that the revenue arising from the act should be applied, in the first place, "for the charge of the administration of justice, and the support of civil government" in the colonies; and the residue was to be paid into the receipt of the Exchequer, and entered separate and apart from all other moneys, and reserved to be disposed by Parliament for the defence of the colonies. It was the civil administration alone that could be paid by the king's warrant. The expense of the army could be appropriated only by Parliament; and the difference is worthy of attention.
[85] It was reported at a town meeting held at Boston on October 28, 1767, in which James Otis presided, that Lynn, in the previous year, had turned out forty thousand pairs of women's shoes,—an industry which has since grown to very large proportions,—and that another town had made thirty thousand yards of cloth (Frothingham's Rise of the Republic, 208).
[86] Mass. State Papers, 121, 124, 134.
[87] The circular letter was not adopted without opposition. Bernard says that the proposition was first rejected two to one; and after the measure was finally carried, in order to give the appearance of greater unanimity, the former proceedings of dissent were obliterated from the journal (Letters, 8).
[88] Mass. State Papers, 113.
[89] Abstracts of these papers convey no adequate idea of their strength. They must be read in their completeness, and so read, in connection with Lord Mansfield's speech in the House of Lords, one sees the arguments of each party stated at their best.
[90] Hutchinson's History, iii. 188.
[91] Gordon, i. 231. Governor Bernard has given an account of these transactions in a series of letters addressed to Shelburne or Hillsborough, and published in a collected volume. It is a graphic narrative, in many cases of events in which he had participated, or which he had learned from eye-witnesses. Apparently they are as fair as other partisan accounts of the transactions, which may be found in various histories. The truth yet waits to be told; but it will not be accurately told by one who assigns all sublimated virtues to one party, and the most malignant depravity to the other.
[92] See Hutchinson's History, iii. 192, and 488 for the address.
[93] Mass. State Papers, 156.
[94] For a summary of these replies, see Frothingham's Rise of the Republic, 213.
[95] Letters 41.
[96] History, iii. 196.
[97] Ibid., iii. 197; see also Frothingham, 239.
[98] Letters 40.
[99] Mass. State Papers, 147.
[100] Otis was chairman. On the first day several committees were appointed: one to learn from Governor Bernard the grounds of his apprehensions that additional regiments were expected; another to present a petition for convening the General Court "with the utmost speed;" and a third to take into consideration the state of public affairs, and report salutary measures at an adjourned meeting. The next day the governor replied that his information in regard to the troops was private: when he had public letters on the subject he would communicate them to the Council. As for calling another assembly, he could do nothing without his majesty's commands. Whereupon a series of resolutions and votes was passed to the effect that the inhabitants of Boston would defend the king, the charter, and their own rights; that levying of money within the province, or keeping a standing army, except by consent of the General Assembly, was in violation of the charter and of natural rights; that the several towns be asked (the letter is in Hutchinson, iii. 492) to send delegates to a convention to be held on the 22d; that on account of a "prevailing apprehension, in the minds of many, of an approaching war with France", the inhabitants be provided with arms; and that the ministers in town set apart a day of fasting and prayer. A broadside of these proceedings was published, of which a fac-simile is in the Boston Public Library.
[101] Hutchinson's History, iii. 212. They were the Fourteenth, Twenty-ninth, and part of the Fifty-ninth British regiments.
[102] Parliamentary History, vol. xvi. 476 et seq.; Mahon's History, v. 240; Hutchinson's History, iii. 219.
[103] W. S. Johnson, Trumbull Papers, 317.
[104] Hutchinson's History, iii. 221.
[105] Ibid., iii. 494.
[106] Writings, i. 3 (Boston ed.).
[107] North Carolina adopted resolutions similar to those of Virginia, and associations were formed to prevent importation of British goods. Ramsay, Amer. Rev., i. 84.
[108] Part of the Sixty-fourth and Sixty-fifth regiments, under Colonels Mackey and Pomeroy, arrived at Boston November 10th.
[109] Hutchinson's History, iii. 233.
[110] Ibid., vol. iii. 498.
[111] He was created a baronet March 20, 1769 (Gordon, History, i. 275).
[112] An unpublished letter of this date, from Charles Lloyd to George Grenville, giving an account of the affair, is in the possession of the writer.
[113] W. S. Johnson, Trumbull Papers, 423.
[114] May, 1770. "Agreeably to a vote of the town of Boston, Capt. Scott sailed from thence this month for London, with the cargo of goods he had brought from thence, contrary to the non-importation agreement; to give evidence, on the other side the water, of the sincerity of said agreement" (Mass. Hist. Coll., ii 44).
[115] W. S. Johnson, Trumbull Papers, 421. The Minute of the Cabinet, May 1, 1769, by which Hillsborough was authorized to make the promise contained in his circular letter, may be seen in Mahon's History of England, v. Appendix, xxxvii.; and the reasons upon which the minute rests are both interesting and significant—"upon consideration of such duties having been laid contrary to the true principles of commerce."
[116] Parliamentary History, xvi. 855, 979
[117] W. S. Johnson, Trumbull Papers, 430.
[118] W. S. Johnson, Trumbull Papers, 435.
[119] Parliamentary History, xvi. 981
[120] Ibid., 1006.
[121] W. S. Johnson, Trumbull Papers, 437.
[122] Administration of the Colonies.
[123] Mass. State Papers, 306.
[124] Lossing's Field-Book of the Revolution, i. 630. For a full account of this affair, see Bartlett's History of the Destruction of the Gaspee.
[125] W. E. Foster's Stephens Hopkins, Pt. ii. 95.
[126] Frothingham's Rise of the Republic, 266.
[127] For a full account of the formation and purpose of the Committee of Correspondence, with the names of the Boston members, see Frothingham's Rise of the Republic, 263.
[128] See resolutions and members of the committee in Mass. State Papers, 400.
[129] History, iii. 397.
[130] Ramsay gives these resolutions. Hist. Amer. Rev., i. 98.
[131] Frothingham's Rise of the Republic, 294; Hutchinson's History, iii. 441.
[132] Hutchinson's History, iii. 441.
[133] He died at Brompton, England, June 3, 1780.
[134] Frothingham's Rise of the Republic, 347.
[135] The action of the other colonies in respect to the proposed Continental Congress may be found in Frothingham's Rise of the Republic, 331, n.
[136] See authorities in John Adams, a pamphlet by the writer of this chapter, 1884.
[137] Works, iv. 109. I find in the works of no other writer, historical or political, more accurate conceptions of the causes, immediate and remote, of the Revolution, and so fair and judicial a statement of them. Works, i. 24, 92.
[138] Bancroft, v. 250.
[139] See Rights of Great Britain asserted against the claims of America (London, 1776).
[140] Works, x. 321.
[141] History, ii. 43.
[142] Ibid., vi. 85.
[143] Hist. N. E., ii. 444.
[144] New York, 1882 by Eben Greenough Scott.
[145] In the absence of such a work, the student will find something to his purpose in the Hutchinson Papers (Prince Soc. ed.), ii. 150, 232, 265, 301, 313 et passim; Andros Tracts, ii. 69, 215, 224, 233 et passim; Sewall's Letters, i. 4; Chalmers's Political Annals, in the notes particularly, and in his Introduction to the History of the Revolt of the Colonies; Palfrey, Hist. New England, ii. 444; iii. 276, 279, n. For the commerce and products of Virginia in 1671, and the effect of the navigation laws, see Chalmers's Political Annals, 327; and in 1675, Ibid., 353, 354; and for duties imposed on commerce by colonial assemblies, Ibid., 354, 404. For complaints of British merchants to Charles II. of infractions of the navigation laws by New England, Ibid., 400, 433, 437. See Ramsay's American Revolution, i. 19, 22, 23, 45, 46, 49; and Franklin's Works, iv. 37, for British trade with the colonies. Jefferson's Notes, 277, gives the amount of Virginia exports just before the Revolution. Queries and Answers, relative to the commerce of Connecticut in 1774 (Mass. Hist. Coll., vii. 234), affords much interesting information as to shipping, sailors, and importations from Great Britain, the course and subjects of foreign trade of the colony. For similar papers relating to New York, see O'Callaghan's Documentary Hist. of New York, 8vo ed., vol. i. 145, 699, 709, 737, and vol. iv. 163.
[146] Works, Boston ed., vol. ix.
[147] The Late Revelations Respecting the British Colonies (published at Philadelphia, 1765, and attributed to John Dickinson) contains valuable statistics of commerce, and discusses the British commercial and revenue policy with great ability; also, Considerations on the Propriety of Imposing Taxes in the British Colonies, attributed to Daniel Dulaney, of Maryland, 1765; The Right to the Tonnage, by the same, Annapolis, 1766.
[148] Cf. Felt's Massachusetts Currency; Pownall's Administration of the Colonies, 102 et seq.
[149] Hist. N. E., iii. ch. ix.
[150] Sewall says that the first admiralty court was held July 5, 1686, and that several ships had been seized for trading contrary to the acts (Letters, i. 34). Dudley was inaugurated May 26, 1686, and soon got to the work of enforcing the laws. See also Andros Tracts, iii. 69.
[151] The history of these writs is given, with a fulness and accuracy which leaves nothing to be desired, in the Appendix to Quincy's Reports, by Horace Gray, Jr. (now Mr. Justice Gray, of the Supreme Court of the United States). Besides other sources of unpublished information, in England and America, Mr. Gray had access to the Bernard Papers (now in Harvard University library); in his administration these writs were legalized and efficiently used.
[152] See Vol. V. p. 612. For more than a century in the government of the colonies political considerations were subordinated to a commercial policy; New England was favored during the Protectorate, and Virginia after the Restoration, equally on political grounds. But with the beginning of the French War this commercial policy began to give way to an imperial policy. To the Congress of 1754 is due the distinction of being the only body, among similar gatherings before or since, which of its own motion seriously entertained and adopted a project of bringing the colonies, as a unit, into defined relations to the mother country, for general government in respect to their defence. Nobody saw more clearly than Franklin, or has more explicitly pointed out the necessity of some general government for the defence of the colonies (Works, by Sparks, iii. 32 et seq.); and to secure these ends he was willing to go further, in some respects, even than Hutchinson. He admitted the power and necessity of parliamentary action in the alteration of colonial charters (Works, iii. 36). He provided that the President-General should be appointed and his salary paid by the crown (3 Mass. Hist. Coll., v. 70); that the Speaker should be approved by the President-General, thus admitting the validity of the prerogative (Works, iii. 44; and see Plan, that the assent of the President-General should be requisite to all acts of the Grand Council, instead of all laws, as stated by Bancroft, iv. 123); and that the Grand Council should have power to "lay and levy such general duties, imposts, or taxes as to them shall appear most equal and just" (Works, iii. 50). Bancroft, in summarizing the Plan of Union, drawn by Franklin, says (Hist., iv. 124) the general government was empowered "to make laws and levy just and equitable taxes", thus giving the impression that the powers of the Council were limited by absolute justice and equity, or by what each colony should so judge. But this is what Franklin neither meant nor said. He lodged the powers in the sole discretion of the Council, which is quite a different thing. Grenville or Townshend asked no more for Parliament. The General Assembly of Connecticut knew what the words meant. In their reasons for rejecting the proposed plan (I Mass. Hist. Coll., vii. 212) they say, "The proposal, in said plan contained, for the President-General and Council to levy taxes, &c., as they please, throughout this extensive government, is a very extraordinary thing, and against the rights and privileges of Englishmen." Their objections to Franklin's Plan read like an answer of the Massachusetts General Court, drawn by Samuel Adams, to a message of Bernard. The governor and council of Rhode Island had similar fears. They said that they found it to be "a scheme which, if carried into execution, will virtually deprive this government, at least, of some of its most valuable privileges, if not effectually overturn and destroy our present happy constitution" (Rhode Island Hist. Tracts, ix. 61). And that sturdy patriot, Stephen Hopkins, who was associated with Franklin, Hutchinson, Pitkin, and Howard in the Albany Plan, was subjected to much worry for invoking the parliamentary authority in modifying the Rhode Island charter, and was driven to self-vindication in A True Representation (Ibid., I). Whatever modifications Franklin's opinions may have undergone in later years on other matters, "it was his opinion thirty years afterwards that his plan was near the true medium" (Works, iii. 24, Sparks's note).
There is a plan of union in the handwriting of Thomas Hutchinson (Mass. Archives, vi. 171, and in the Trumbull MSS., in Mass. Hist. Soc., i. 97; and printed in Frothingham's Rise of the Republic, Appendix) which probably expressed his sentiments in 1754, when it was rejected by the General Court. Like Franklin, he was willing to acknowledge and invoke the parliamentary authority for the union, with the power in the Grand Council to levy such taxes as they deemed just and equal; but, unlike Franklin, he did not allow the President to negative the choice of the Speaker by the Grand Council.
But no one wrote from a more varied experience, or more careful examination of colonial constitutions, and of their possible relations to the mother country, than Thomas Pownall. His connection with the Commissioners of Trade and Plantations, as their secretary in 1745, made him familiar with the difficulties of colonial administration from the British point of view; and his successive administrations, as lieutenant-governor, or governor, of New Jersey, Massachusetts, and South Carolina from 1755 to 1761, extended his acquaintance with the state of colonial affairs in the Northern, Middle, and Southern colonies. He was a moderate Whig, and, like all moderate men in those days, his counsels were duly regarded by neither party. He embodied his views in a work entitled The Administration of the Colonies, which passed through several editions. His scheme was elaborate and wise, if his concurrence with Franklin in points which they treat in common may be regarded as a test of wisdom. His commercial scheme was predicated on the general law that colonial trade follows capital, and, while sharing the benefits, pays profit to it. He would have left that trade free to develop itself within certain limits; but inasmuch as it must tend somewhere,—to the English, French, or Dutch,—he thought it right that the trade of English colonies should pay profit to England, as the country whose navy defended it, and by whose capital it was developed. But England ought to grasp this trade only as the centre of a commercial dominion of which America was a part and entitled to parliamentary representation, which he thought practicable. In theory he acknowledged the prerogative of the crown in respect to colonial government, but recognized the necessity of parliamentary intervention, and would have reduced both to cases of actual necessity, and would always have subordinated the question of power to the dictates of reason and expediency.
[153] See letter of Pownall to Franklin, on this subject, and Franklin's remarks (Works, iv. 199).
[154] See the whole passage, not often quoted by historians, in Frothingham's Rise of the Republic, 149, n.
[155] Sidney S. Rider (Rhode Island Hist. Tracts, 9, xxx.) denies that Rhode Island rejected the Plan, as affirmed by Sparks.
[156] Massachusetts State Papers.
[157] Published at Boston in 1818, and edited by Alden Bradford. It is often quoted as Mass. State Papers. The answers were chiefly from the industrious pen of Samuel Adams.
[158] Journals of the House of Lords, xxxiv. 124.
[159] Works, iv. 466.
[160] Memoir of Josiah Quincy, Jr., 355.
[161] History, vi. p. 244.
[162] Hist. of the Revolution, i. 175.
[163] What we know of this speech is derived mainly from the notes of it taken by John Adams (Works, ii. 521-525), and from the reminiscent account of it which Adams gave to William Tudor in 1818, with his description of the scene in court during its delivery. Minot, in his Hist. of Massachusetts, 1748-1765 (vol. ii. 91-99), worked up these notes, and they form the basis of the narrative in Tudor's Life of Otis (p. 62). The legal aspects have been specially examined by Horace Gray in an appendix to the Reports of Cases in the Superior Court 1761-1772, by Josiah Quincy, Jr., printed from his original manuscripts, and edited by Samuel M. Quincy (Boston, 1865). Cf. John Adams's Works, x. pp. 182, 233, 244, 274, 314, 317, 338, 342, 362. Cf. also Ibid., vol. i. p. 58; ii. 124, 521; and the Adams-Warren Correspondence in Mass. Hist. Soc. Coll., xliv. 340, 355. Cf. also Hutchinson's Mass. Bay, vol. iii.; Essex Institute Hist. Coll., Aug., 1860; Bancroft's United States, ii. 546, 553; Thornton's Pulpit of the Rev., 112; Barry's Massachusetts, ii. 264; Everett's Orations, i. 388; Scott's Constitutional Liberty, 237; Mem. Hist. Boston, iii. 5; Palfrey's Compend. Hist. N. E., iv. 306; Wells's Sam. Adams, i. 43. There is a copy of one of these writs in the cabinet of the Mass. Hist. Society. W. S. Johnson wrote to Governor Trumbull that the process was in vogue in England (Trumbull Papers; Mass. Hist. Soc. Coll., xlix. pp. 292, 374), as it is to-day. The most conspicuous instance of an attempt to search under these writs was when the officers tried to enter the house of Daniel Malcom in Oct., 1766, and were forcibly resisted. The papers connected with this, as transmitted to London, and telling the story on both sides, are among the Lee Papers in Harvard College library (vol. i. nos. 14-25).
[164] Sabin, xiv. p. 84. Haven in Thomas, ii. p. 559; John Adams, x. p. 300. Lecky skilfully sketches the condition of the colonies at this time (England in the Eighteenth Century, iii. ch. 12), and Lodge's Short Hist. of the English Colonies depicts, under the heads of the various colonies, the prevailing characteristics.
[165] Dickinson's speech in the Assembly, May 24, 1764, passed through two editions (Philad., 1764), and was reprinted in London (1764). (Carter-Brown, iii. nos. 1,387-88.) Galloway's Speech in Answer (Philad., 1764; Carter-Brown, iii. 1,395) was reprinted in London (1765), with a preface by Franklin (Carter-Brown, iii. 1,452), and Dickinson's Reply was printed in London, 1765 (Carter-Brown, iii. 1,444). Dickinson's speech is also in his Works (i. p. 1). Cf. Franklin's Works, iv. pp. 78, 101, 143.
[166] Rise of the Republic, p. 167.
[167] It is analyzed in John Adams's Works (x. 293), and in Frothingham, p. 169. It was published in Boston in 1765, and in London the same year, by Almon, and was circulated through the instrumentality of Thomas Hollis (Sabin, xiv. p. 83).
[168] John Adams's Works, x. 189. Cf. Palfrey, New England (Compend. ed., iv. 343), and Tudor's Otis. See ante, p. 28.
[169] Carter-Brown, iii. no. 1,456; Sabin, viii. no. 32,966; Cooke Catalogue, no. 1,202. It was reprinted in London in 1766, at the instigation of the Rhode Island agent, as The Grievances of the American Colonies carefully examined (Sparks, no. 1,272; Cooke, no. 1,203). There is a reprint in the R. I. Col. Records, vi. 416. The London text is followed in Selim H. Peabody's American Patriotism (N. Y., 1880). The original edition of all was published by order of the R. I. Assembly in 1764, but no copy is known. Cf. Wm. E. Foster's Stephen Hopkins, a Rhode Island Statesman; study in the political history of the eighteenth century (Providence, 1884,—no. 19 of R. I. Hist. Tracts), who examines (ii. p. 227) the claims of Hopkins to its authorship, for the tract was printed anonymously. Cf. Frothingham's Rise of the Republic, p. 172; Palfrey's New England (Compend. ed.), iv. 369. Hopkins's tract was controverted in a Letter from a gentleman at Halifax (Newport, 1765,—Sabin, x. 40,281); and James Otis replied in a Vindication of the British Colonies against the aspersions of the Halifax gentleman (Boston, 1765; Carter-Brown, iii. no. 1,480); and this in turn was followed by a Defence of the Letter, etc. (Newport, 1765), and Brief Remarks (Brinley, i. nos. 190, 198). A tract usually cited by a similar title, but which was called at length Coloniæ Anglicanæ illustratæ: or the Acquest of dominion and the plantation of Colonies made by the English in America, with the rights of the Colonists examined, stated, and illustrated. Part I. (London, 1762; Sabin, ii. 6,209; Carter-Brown, iii. 1,314) was never completed, and was mostly occupied with irrelevant matter. Its author was William Bollan, who was dismissed as the Massachusetts agent during that same year, and John Adams (x. 355) says he scarce ever knew a book so utterly despised. Otis (Tudor, p. 114) expressed his contempt for it (Sabin, ii. p. 265-6).
[170] Reasons why the Brit. Colonies in America should not be charged with internal taxes, etc. (New Haven, 1764). It is reprinted in Conn. Col. Records, vol. xii. Cf. Pitkin's United States, i. 165, and Ingersoll's Letters, p. 2.
[171] Carter-Brown, iii. no. 1,427. John Adams's Works, iv. 129; x. 292. Palfrey, iv. 349. Thacher died in 1765, aged 45 years.
[172] Mayhew had early sounded the alarm, and Thornton begins his Pulpit of the Revolution with a reprint of Mayhew's sermon in 1750 on Unlimited submission and non-resistance to the higher powers (Boston, 1750; again, 1818; Brinley, no. 1,529). The controversy with Apthorpe, who was settled over Christ Church in Cambridge, as representative of the Society for the Propagation of the Gospel in Foreign Parts, began with his Considerations on the institution and conduct of the Society, etc. (Boston, 1763), to which Mayhew responded in his Observations on the charter and conduct of the Society, etc., designed to show their non-conformity to each other (Boston, 1763; London, 1763; Stevens's Hist. Coll., i. no. 383; Haven, p. 564). Dr. Caner, of King's Chapel, Boston, replied in A Candid Examination of Dr. Mayhew's Observations, etc. (Boston, 1763). Another Answer (London, 1764) was perhaps by Apthorpe. Mayhew published A Defence of his Observations (Boston, 1763), and a second defence, called Remarks, etc. (Boston, 1764; London, 1765), which was followed by a Review by Apthorpe (London, 1765). These and other tracts of the controversy are recorded in Stevens's Hist. Coll., i. nos. 378-391; in Carter-Brown, iii. nos. 1,433, 1,465; in Haven's list, pp. 562, 564, 565.
A later controversy, between Thomas Bradbury Chandler and Charles Chauncy, produced other tracts printed in New York, Philad., and Boston (1767-68). Cf. Brinley, iv. nos. 6, 127-31, and Haven's list; and for these religious controversies, Thornton's Pulpit, p. 109; Lecky, iii. 435; Palfrey's New England (Compend. ed., iv. 324); E. H. Gillett in Hist. Mag., Oct., 1870; Perry's Amer. Episc. Church, i. 395; Gambrall's Church life in Colonial Maryland (1885); O. S. Straus's Origin of Repub. form of gov't in the U. S. (1885), ch. 3 and 7; Doc. Hist. N. Y., iv. 198, 202.
[173] Cf. Bancroft (original ed., ii. 353; vi. 9); Adams's Works (x. 236); Dawson's Sons of Liberty in N. Y. (p. 42); Barry's Mass. (ii. 252-255); Scott's Development of Constitutional Liberty (pp. 189-214). In 1764 courts of vice-admiralty for British America had been established (Mass. Hist. Soc. Proc., xvii. 291), and the sugar act passed, placing a duty on molasses, etc.,—a modification of the act of 1733. "I know not", wrote John Adams in 1818, "why we should blush to confess that molasses was an essential ingredient in American independence." John Adams's Works, x. 345.
[174] Ames's Almanac for 1766 has this notice: "Price before the Stamp Act takes place, half-a-dollar per dozen, and six coppers single; after the act takes place, more than double that price." The act was called, Anno regni Georgii III. regis Magnæ Britanniæ, Franciæ, & Hiberniæ, quinto. 1765. An act for granting and applying certain stamp duties, and other duties in the British colonies and plantations in America, towards defraying the expenses of defending, protecting, and securing the same [etc.]. It was reprinted at once in Boston, New London, New York, and Philadelphia, and will be found in the official records and in various modern books like Spencer's Hist. U. S. (i. 274), etc. The stamps are found in various cabinets (Catal. Mass. Hist. Soc. Cab., pp. 104, 118, 123, 125), and cuts of the stamp are found in Mem. Hist. Boston (iii. 12), Thornton's Pulpit of the Rev., etc.
[175] Cf. Bancroft, orig. ed., v. 151. There was a proposition for a colonial stamp act in a tract published in London in 1755, called A Miscellaneous Essay concerning the courses pursued by Great Britain in the affairs of the Colonies (London, 1755).
[176] Lecky, England in the Eighteenth Cent. (iii. 324). Mahon (v. 86) quotes Burke's speech of 1774 as proving the small interest in the debate of 1765, and thinks that Walpole's failure to mention the debate in his letters proves the truth of Burke's recollections. Adolphus had earlier relied on Burke. Mahon even intimates that Barré's famous speech was an interpolation in the later accounts; but the Letters printed by Jared Ingersoll show that it was delivered. (Cf. Palfrey's Review of Mahon.) The Parliamentary History says that Barré's speech was in reply to Grenville; but Ingersoll says Charles Townshend was the speaker who provoked it. Cf. Frothingham's Rise of the Republic (p. 175); Ryerson's Loyalists (i. 294); H. F. Elliot on "Barré and his Times" in Macmillan's Mag., xxxv. 109 (Dec., 1876); and Hist. MSS. Com. Report, viii. pp. 189, 190.
It was in the speech of Feb. 6, 1765, that Barré applied the words "Sons of Liberty" to the patriots in America, which they readily adopted (Bancroft, v. 240; Thornton's Pulpit, 131). Dr. J. H. Trumbull, in a paper, "Sons of Liberty in 1755", published in the New Englander, vol. xxxv. (1876), showed that the term had ten years earlier been applied in Connecticut to organizations to advance theological liberty. It is also sometimes said that the popular party at the time of the Zenger trial had adopted the name. The new organization embraced the young and ardent rather than the older and more prudent patriots, and at a later period they became the prime abettors of the non-importation movements. For their correspondence in New England, see Mass. Hist. Soc. Proc. (x. 324) and the Belknap Papers (MSS., iii. p. 110, etc.) in the Mass. Hist. Soc. cabinet. A list of those dining together in 1769 at Dorchester is given in Mass. Hist. Soc. Proc., Aug., 1869. The correspondence of those in Boston with John Wilkes, 1768-69, is noted in the Brit. Mus. Catal., Add. MSS. 30,870, ff. 45, 46, 75, 135, 222. H. B. Dawson's Sons of Liberty in N. Y. was privately printed in N. Y., 1859.
[177] A letter of Aug. 11, 1764, from Halifax had forewarned the colonial governors of the intention (N. Y. Col. Docs., vii. 646; N. J. Archives, ix. 448).
[178] Thomas's Hist. of Printing, Am. Antiq. Soc. ed., ii. 223; Sargent's Dealings with the Dead, i. 140, 144; Lossing's Field-Book, i. 466; Mem. Hist. Boston, iii. 159; Thomas Paine's "Liberty Tree Ballad" in the Penna. Mag., July, 1775; and Moore's Songs and Ballads of the Rev., p. 18. The selecting of a large tree and its dedication to the cause became general. Cf. Silas Downer's Discourse, July 25, 1768, at dedication of a tree of liberty in Providence (Providence, 1768), and the Providence Gazette, July 30, 1768 (Sabin, v. 20, 767; J. R. Bartlett's Bibliog. of R. I., p. 112; Carter-Brown, iii. no. 1,622).
[179] Hutchinson had expressed disapproval of the Stamp Act; but doubting its expediency did not affect his judgment of the necessity of enforcing it (P. O. Hutchinson, i. 577; ii. 58). On the destruction of his house, see his own statement in P. O. Hutchinson's Governor Hutchinson, i. 70, 72, and his letter, dated Aug. 30, 1765, in the Mass. Archives, xxvi. 146, printed in the Mass. Senate Docs. (1870, no. 187, p. 3). He says: "The lieutenant-governor, with his children, lodged the next night at the Castle, but after that in his house at Milton, though not without apprehension of Danger." Quincy's diary (Mass. Hist. Soc. Proc., iv. 47) preserves Hutchinson's speech, when a few days later he took his seat on the bench, clad with such clothing as was left to him. Cf. the accounts in Boston Newsletter, Sept. 3, 1765; Parliamentary History, iv. 316; Conduct of a late Administration, 102; Memorial Hist. Boston, iii. 14, etc.; Mass. Hist. Soc. Proc., Jan., 1862, p. 364.
[180] Boston Town Records, 1758-1769, p. 152 (Rec. Com. Rept., xvi.).
[181] These papers are given in Hutchinson's Mass. Bay (iii. 467, 471, 476). Samuel Dexter was the head of the committee to draft the reply of the assembly, but it is thought Sam. Adams wrote the paper (Bancroft, v. 347). Cf. Speeches of the Governors of Mass., 1765-1775, and the answers of the House of Representatives, with other public papers relating to the dispute between this Country and Great Britain (Boston, 1818). This collection was edited by Alden Bradford, and is sometimes cited by historians as "Bradford's Collection", "Mass. State Papers", etc.
There is a portrait of Dexter (b. 1726; d. 1810) by Copley, and a photograph of it in Daniel Goodwin, Jr.'s Provincial Pictures (Chicago, 1886).
[182] There is a likeness of Andrew Oliver, by Copley, in the possession of Dr. F. E. Oliver; and a photograph of it is in the cabinet of the Mass. Hist. Society (Perkins's Copley, p. 90), and in P. O. Hutchinson's Governor Hutchinson (vol. ii. 17); and a woodcut in Mem. Hist. Boston (iii. 43). Another portrait, by N. Emmons (1728), is given in a photograph in P. O. Hutchinson's Governor Hutchinson (i. 129).
[183] This paper is preserved, and a fac-simile is given in Mass. Hist. Soc. Proc., June, 1872, and in the Mem. Hist. Boston (iii. 15). Cf. Bancroft, orig. ed., v. 375, etc.
For other accounts of the feelings and proceedings in Boston and Massachusetts, see a letter of Joshua Henshaw, in N. E. Hist. and Geneal. Reg. (1878, p. 268), and the histories of Boston by Snow and Drake; Tudor's Otis; John Adams's Works (iii. 465; x. 192, 197); Adams-Warren Correspondence, p. 341; Frothingham's Warren; Loring's Hundred Boston Orators, p. 50; the instructions of Lexington, in Hudson's Lexington, p. 88; the instructions of Braintree, in John Adams's Works, iii. 465, and many other similar documents; beside Dr. Benjamin Church's poem, The Times (Boston Pub. Library, H. 95, 117, no. 3).
[184] Bancroft, orig. ed., v. ch. 14; Boston Rec. Com. Rept., xvi. p.155.
[185] For details, see—
For New Hampshire, a letter from Portsmouth, Jan. 13, 1766, to the New Hampshire agent in London, in the Belknap MSS. (Mass. Hist. Soc., 61, C. p. 108).
For Connecticut, Stuart's Governor Trumbull; Jared Ingersoll's Letters relating to the Stamp Act (New Haven, 1766); and some tracts by Governor Fitch (Brinley Catal., nos. 2,116-2,118).
For New York, the Journal of the N. Y. Assembly; histories of the City and State of New York; N. Y. Col. Docs., vii. 770; N. Y. Hist. Soc. Coll., 1876; Lossing's Schuyler, i. 203; Leake's Lamb, ch. 2-4; a long and interesting letter from Wm. Smith to Geo. Whitefield in Hist. MSS. Com. Rept., ii. (Dartmouth Papers); a letter of R. R. Livingston to General Monckton, in Aspinwall Papers, ii. 554; Penna. Mag. of Hist., ii. 296; J. A. Stevens in Mag. of Amer. Hist., June, 1777 (i. 337), and on "Old Coffee-Houses" in Harper's Monthly, lxiv. p. 493 (see view of Burns's Coffee-house, the headquarters of the Sons of Liberty, in Valentine's Manual of N. Y. City, 1858, p. 588; 1864, pp. 513, 514; and in Gay's Pop. Hist. U. S., iii. 456); and Dawson's Sons of Liberty in N. Y.
For New Jersey, letter of Governor Franklin to Lords of Trade, in N. J. Archives, ix. 499, with other papers.
For Pennsylvania, Sparks's Franklin, vii. 297, 303, 307, 308, 310-13, 317-19, 328; the account in the Penna. Gazette, no. 1,239, Supplement, reprinted in Hazard's Reg. of Penna., ii. 243; Watson's Annals of Philad., vol. ii.; Muhlenberg's journal in Penna. Hist. Soc. Coll., vol. i. 78; Wallace's Col. Bradford, p. 95.
For Delaware, Life of Geo. Read, p. 30.
For Maryland, the Gilmor Papers in the Maryland Hist. Soc. library, vol. iii., division 2; and references in vol. xi. of the Stevens-Peabody index of Maryland MSS.
For Virginia, the Resolves (May 29th) of the Assembly (to which Patrick Henry made his bold speech), given in Hutchinson's Mass., iii., App. p. 466; Geo. Tucker's United States, i., App., and cf. Franklin's Works, vii. 298; C. R. Hildeburn in Penna. Mag. of Hist., ii. 296; Huguenot Family, p. 424; Ryerson's Loyalists, i. 286; and Randall's Jefferson, i. ch. 2.
For North Carolina, J. H. Wheeler's Reminiscences and Memoir of No. Carolina (1884).
For South Carolina, R. W. Gibbs's Doc. Hist. of the Amer. Rev., p. 1; Niles's Principles and Acts (1876), p. 319; Charleston Year-Book, 1885, p. 331, with a fac-simile of broadside of schedule of stamps; Ramsay's South Carolina; Flanders's Rutledge, p. 456. There are in the Sparks MSS. (xliii. vol. iv.) various official letters of the governors of the different colonies to the home government. Gage's reminiscent letter to Chalmers is in Mass. Hist. Soc. Coll. (xxxiv. 367, etc.); and other letters are in the Hist. Mag. (May, 1862, vol. vi. 137).
[186] Gay's Pop. Hist. U. S. (iii. 341), for a view of the hall.
[187] Authentic Account of the proceedings of the Congress held in New York in 1765 on the subject of the American Stamp Act (Philad., 1767; Lond., 1767; Philad., 1813; in Almon's Tracts, 1773; in Niles's Principles and Acts, 1876, p. 155,—see Sabin, xiii. nos. 53,537, etc.); Journal of the first Congress of the American Colonies, N. Y., Oct. 7, 1775, ed. by Lewis Cruger (Sabin, iv. 15,541). They passed a declaration of rights, an address to the king, a memorial to the lords, and a petition to the commons. (Cf. Hutchinson's Mass., vol. iii., App. pp. 479, 481, 483, 485; N. H. Prov. Papers, vii. 87, 89; H. W. Preston's Docs. illus. Amer. Hist.,1886). John Adams and McKean at a later day exchanged memories of the Congress (John Adams's Works, x. 60, 63). Beardsley, in his W. S. Johnson (p. 32), explains the position of that member for Connecticut. Cf., among the general writers, Bancroft, v. ch. 18; N. C. Towle, Hist. and Analysis of the Constitution, 307; Frothingham's Rise of the Republic, 185; Palfrey's New England, iv. 399; Barry's Mass., ii. 304; Dunlap's New York, i. 416; Green's Hist. View of the Amer. Rev., 72; Lossing in Harper's Monthly, xxvi. 34, and Mahon's England, v. 126.
Timothy Ruggles (b. 1711), who later joined the Tories, was chosen president by a single vote. Cf. sketch in Worcester Mag. (1826), vol. ii., p. 54, and Sabine's Amer. Loyalists.
[188] Works relating to Franklin in Boston Pub. Lib., p. 20; Bancroft, orig. ed., v. 306; Penna. Mag. of Hist., viii. 426, and x. 220; Sparks's Franklin, i. 290; iv. 156, 161, 206; vii. 281; x. 429-32; Parton's Franklin, i. 436. The grounds of the accusation against Franklin are discussed in a correspondence of Franklin with Dean Tucker (Sparks's Franklin, iv. 518; Bigelow's Franklin, i. 460-466), and Tucker so far admitted his error as to omit the passage.
[189] Smyth's Lectures, ii. 383.
[190] The Examination of Franklin [before the House of Commons] relative to the repeal of the American Stamp Act in 1766 (Williamsburg, n. d.; London, 1766; Philad.? 1766?; n. p. and n. d.; London, 1767—the titles vary in some of these editions). The report is also in Almon's Prior Documents (London, 1777, pp. 64-81; Sparks's Franklin (iv. p. 161; cf. vii. 311, 328); Bigelow's Franklin, i. 467); Bancroft, v. 428; Ryerson, i. 308.
[191] In recording the debates in Parliament, Bancroft (orig. ed., v. 383, 415) used the accounts in the Political Debates, in Walpole's Letters, the précis in the French archives, the report set down by Moffat of Rhode Island, and the copious extracts made by Garth, a member, who sent his notes to South Carolina. William Strahan's account is given in the Penna. Mag. of Hist., April, 1886, p. 95. It is said in P. O. Hutchinson's Governor Hutchinson (i. 288) that Pitt was in doubt at first which side to take. Cf. lives of Pitt and editions of his speeches, and the comment in Mahon, v. 133, 138, and Ryerson, i. 302. Smyth (ii. 365) considers the protest of the lords against the repeal (Protests of the Lords, ed. by J. E. T. Rogers, ii. 77) the best exposition of the government view of taxation. For a Paris edition of this Protests, with Franklin's marginal notes, see Brinley Catal., no. 3,219. See also, for English comment, Fitzmaurice's Shelburne (i. ch. 7), and Lecky, (iii. 344); and for American, Bancroft, v. 421, 450; Mem. Hist. of Boston, iii. 19; and in Franklin's Works (iv. 156; vii. 308, 317).
There were rumors of the coming repeal in Boston as early as April 1st (Thornton's Pulpit, 120), but the confirmation came May 16th, when public rejoicing soon followed, and on a Thanksgiving, July 24, Charles Chauncy delivered a Discourse in Boston (Boston, 1766; reprinted by Thornton, p. 105). The Boon Catalogue (no. 2,949) and others show numerous sermons in commemoration of the repeal; and the public prints give the occasional ballads (F. Moore's Songs and Ballads, p. 22).
The town of Boston ordered portraits of Conway and Barré to be painted, and the pictures hung in Faneuil Hall till the British made way with them during the siege (Mem. Hist. Boston, iii, 181). There is a head of Conway in the European Mag. (i. 159), and another in the London Mag., April, 1782.
The Mass. Assembly, June 20th, thanked Pitt. Cf. Mass. State Papers, by Bradford, pp. 10, 92. For the general scope of the whole period of the Stamp Act turmoil, see, on the American side, beside the contemporary newspapers, Tudor's Otis, ch. 14; Bancroft, v. ch. 11, etc.; Gay, iii. 338; Palfrey, iv. 375; Barry, ii. ch. 10; E. G. Scott's Constitutional Liberty, p. 253; Irving's Washington, i. ch. 28; Parton's Franklin, i. 459-483; Bigelow's Franklin, i. 457; Thornton's Pulpit, etc., 133; Lossing's Field-Book, i. 463; ii. 877. Sparks made sketches and notes for a history of the Stamp Act, which are in the Sparks MSS., no. xliv. On the English side, beside the acts themselves and the current press, the Annual Register, Gentleman's Mag., etc., see Le Marchant's George the Third by Walpole, ii. 217, 236, 260, 277; the Pictorial Hist. England; Mahon; Massey; C. D. Yonge's Constitutional Hist. England, ch. 3; Sir Thomas Erskine May's Const. Hist. England, ii. 550-562; Rockingham and his Contemporaries, i. 250; Fitzmaurice's Shelburne, i. 319; Macknight's Burke, i. ch. 10, 11; J. C. Earle's English Premiers (London, 1871), vol. i. ch. 5; Smyth's Lectures, ii. 379, 423; Lecky, iii. 314, 340 ("Every farthing which it was intended to raise in America, it was intended also to spend there"), and Ryerson's Loyalists, i. ch. 10.
[192] There was a History of Amer. Taxation from 1763, published in a third ed. at Dublin in 1775 (Sabin, vii. 32,125). Franklin contended that at this time taxation of the colonies was a popular idea in England (Works, vii. 350), while Smyth found that at a later day (Lectures, ii. 371) he could get sympathy in speaking of "the miserable, mortifying, melancholy facts of our dispute with America." See synopsis of the arguments pro et con in Life of George Read, 76; Palfrey, iv. 327; Smyth's Lectures, ii. 471; Green's Hist. View, 55; Gardiner and Mullinger's Eng. Hist. for Students (N. Y., 1881), p. 183. Cf. also Bigelow's Franklin, i. 515; Foster's Stephen Hopkins, ii. 244.
A few of the most indicative tracts on the subject may be mentioned:—
Soame Jenyns's Objections to the Taxation of our American Colonies briefly considered (London, 1765; also in his Works, 1790, vol. ii. p. 189), which was answered in James Otis's Considerations on behalf of the British Colonies, dated Boston, Sept. 4, 1765 (Boston and London, 1765).
George Grenville is credited with the authorship of The Regulations lately made concerning the Colonies and the taxes imposed upon them considered (London, 1765,—Carter-Brown, iii. no. 1,472; Sparks Catal., p. 83).
William Knox, the agent of Georgia, printed The Claim of the Colonies to exemption from internal taxes imposed by authority of Parliament examined (Lond., 1765). The Brinley Catal., no. 3,218, shows Franklin's copy, with his annotations.
Daniel Dulaney's Considerations on the propriety of imposing taxes in the British Colonies for the purpose of raising a revenue by Act of Parliament (North America, 1765; Annapolis, 1765; New York, 1765; London, 1766) is in most copies without the author's name. (Cf. Sabin, v. no. 21,170; Carter-Brown, iii. nos. 1,438-39, 1,503; Brinley, i. no. 188; also Frothingham's Rise of the Repub., p. 194, and Chatham Correspondence, iii. 192.)
The late regulations respecting the British colonies in America considered in a letter from a gentleman in Philadelphia to his friend in London (Philad., 1765; Lond., 1765) is usually said to have been by John Dickinson. It is included in his Political Writings, vol. i. A brief tract of two pages, A denunciation of the Stamp Act (Philad., 1765), is also said to be Dickinson's.
The right of Parliament is sustained, but the Stamp Act as a measure condemned, in A letter to a member of Parliament wherein the power of the British legislature and the case of the colonists are briefly and impartially considered (London, 1765,—Sabin, x. 40,406; Carter-Brown, iii. 1,462).
Objections to the taxation of our American Colonies briefly considered (Lond., 1765).
See also Charles Thomson's letter to Cook, Laurence & Co., Nov. 9, 1765, in N. Y. Hist. Society Coll. (1878, p. 7).
[193] The first is a Letter from a merchant in London to his nephew in No. America relative to the present posture of affairs in the Colonies (Lond., 1766), and the last A series of answers to certain popular objections against separating from the rebellious colonies and discarding them entirely: being the concluding tract of the Dean of Gloucester on the subject of American affairs (Gloucester, 1776). The dean's plan of separation is best unfolded, however, in his Humble Address and Ernest appeal (London, 1775; 3rd ed., corrected, 1776). The views of Tucker are given synoptically by Smyth (Lectures, ii. 392), Lecky (iii. 421), Hildreth (iii. 58). If Haven's list is correct, only two of Tucker's tracts were reprinted in the colonies. Cf. Menzies Catal., no. 1,997. The letters of Franklin and Wm. S. Johnson reflect opinions in England at this time.
[194] Published in London in 1767, two editions; Boston, 1767; also in Almon's Tracts, vol. iii. Cf. Sabin, iv. nos. 15,202-3; Brinley, iii. p. 185; Carter-Brown, iii., no. 1,498. 18 It is sometimes attributed to C. Jenkinson. The published tracts of 1766 are enumerated in Carter-Brown and Haven under 1766; in Cooke, 1,336, 1,929, 1,934; in Brinley, i. p. 21; ii. p. 154; and in Sabin, under the authors' names.
During 1767 also there was something of a flurry in the religious part of the community induced by a sermon (London, 1767) which the Bishop of Landaff had preached before the Society for the Propagation of the Gospel in Foreign Parts, in Feb., in which he had styled the Americans "infidels and barbarians." William Livingston, of New York, addressed a Letter to the Bishop (London, 1768), and Charles Chauncy, of Boston, published a Letter to a friend (Boston, 1767), in which the bishop was taken to task, while an anonymous friend undertook a Vindication of the Bishop (New York, 1768). Cf. Carter-Brown, iii. nos. 1,585, 1,629, 1,630.
The other tracts of 1767 are not numerous. Cf. Carter-Brown, and Haven under 1767.
[195] Sabin, xiv. 61,646.
[196] Rec. Com. Rept., xvi. p. 22.
[197] Following a copy in the Mass. Hist. Soc. library.
[198] Franklin (Sparks), vii. 371, 373, 376, 378, 387; (Bigelow), i. 551, 556. The resolutions were printed in the public prints, in Ames's Almanac (1768), etc.
[199] For the movements in Boston, see Frothingham's "Sam. Adams's Regiments" in the Atlantic Monthly, June and Aug., 1867, and Nov., 1863. The letter of the town to Dennis Deberdt, the London agent, sets forth their side of the case (Mem. Hist. Boston, iii. 29). John Mein, the Boston printer, one of the proscribed, published his State of the importation of Great Britain with the port of Boston from Jan. to Aug., 1768, to show that his assailants were also importers (Stevens's Hist. Coll., i. no. 393; Quaritch, 1885, no. 29,618). There is one of the agreements among the Boston merchants, Aug. 14, 1769, in Misc. MSS., 1632-1795, in Mass. Hist. Soc. cabinet. Samuel Cooper tells Franklin how the agreements are adhered to (Sparks's Franklin, vii. 448). Moore, Songs and Ballads of the Rev., p. 48, gives some verses from the Boston Newsletter, urging the "daughters of liberty" to lend their influence in this direction. In the early part of 1770 the movement seemed to be vigorous (Mem. Hist. Boston, iii. 150; cf. papers of Cushing, Hancock, and others, in Letters and Papers, 1761-1776, in Mass. Hist Soc. cabinet). Late in the year Hutchinson could write: "The confederacy in all the governments against importing seemed in the latter end of the summer to be breaking to pieces" (P. O. Hutchinson, i. 24). For such matters in Philadelphia, see Scharf and Westcott's Philadelphia; Franklin (Sparks), vii. 445; (Bigelow), ii. 39. In Delaware, see Life of George Read, 82. In Charlestown (S. C.) there was a controversy over the non-importation association, in which Christopher Gadsden and John Mackenzie supported the movement, and W. H. Drayton and William Wragg opposed it. These letters, which appeared in Timothy's S. C. Gazette, June-Dec., 1769, were issued together in The letters of Freeman, etc. ([London], 1771, Brinley, no. 3,976).
[200] Thornton, Pulpit of the Rev., 150. It is printed in the Penna. Archives, 1st ser., iv. 286, and N. Jersey Archives, x. 14.
[201] New Jersey Archives, x. 14.
[202] New Jersey Archives, x. 21. Cf. William E. Foster on the development of colonial coöperation, 1754-1774,—a chapter in his Stephen Hopkins, vol. ii. A symbol, common at this time, of a disjointed snake, the head representing New England, and the other fragments standing for the remaining colonies, and accompanied by the motto "Join or Die", seems to have first appeared in The Constitutional Courant, no. 1, Sept. 21, 1765, and was used later by the Boston Evening Post. Cf. Mag. of Amer. Hist., Nov., 1882, p. 768; 1883, p. 213; and Preble's Hist. of the Amer. Flag.
[203] Hutchinson's side of the story is in his History, iii. 189. At a large town meeting, over which Otis presided, and at which no direct reference was made to the riots, the people recapitulated grievances, and petitioned (Rec. Com. Rept., xvi. 254) the governor to order the "Romney" away from the harbor. Hutchinson (iii. App. J and K) prints the address and the instructions which were given to their representatives. (Cf. John Adams's Works, iii. 501.) The examination of Robert Hallowell, controller of the port, is in the Lee MSS. (H. C. library), i. no. 40.. Johnson (Mass. Hist. Soc. Coll., xlix. 301) speaks of the effect in England. See the general historians, and also special reports in N. E. Hist. and Geneal. Reg., 1868, p. 402; 1869, p. 452; and also 1883, p. 404, for Hancock's spirit of challenge in naming a sloop, the next year, the "Rising Liberty."
[204] Caruthers's Life of Dr. Caldwell; Foote's Sketches of No. Carolina; Martin's Hist. of No. Carolina; a paper by Francis L. Hawks in Revolutionary Hist. of No. Carolina, ed. by W. D. Cooke (Raleigh and New York, 1853), which has a sketch of the "Battle of Alamance;" papers by David L. Swain in the University Magazine (Chapel Hill, N. C.); J. H. Wheeler's Reminiscences and Memoirs of No. Carolina (1884); Southern Literary Messenger, xi. 144, 231. Cf. also Lossing's Field-Book of the Rev., ii. 577, and Jones's New York during the Rev., ii. 5; and a paper on James Few, "the first American anarchist", in Mag. of Amer. Hist., Nov., 1886.
[205] A Fan for Fanning and a Touchstone for Tryon, containing an impartial account of the rise and progress of the so much talked of Regulation in North Carolina, by Regulus (Brinley, ii. no 3,866). They had organized for the purpose of "regulating public grievances." Such, at least, was their profession.
[206] An impartial relation of the first rise and cause of the recent differences in public affairs in North Carolina, and of the past tumults and riots that lately happened in that province.... Printed for the Compiler, 1770 (Carter-Brown, iii. no. 1,744).
[207] Letters from a Farmer in Pennsylvania to the inhabitants of the British Colonies (Philad., Boston, New York, 1768). They originally appeared in twelve numbers in the Penna. Chronicle and Universal Advertiser, between Dec. 2, 1767, and Feb. 15, 1768. When reprinted in London (1768) Franklin added a preface, and they were again printed there in 1774. (Cf. Sparks's Franklin, i. 316; iv. 256; vii. 391, x. 433; Bigelow's Franklin, i. 566; Sabin, v. nos. 20,044-20,052; Haven, p. 594; Carter-Brown, iii. 1,620, 1,621.) They are included in Dickinson's Political Writings (Wilmington, 1801, vol. ii.). Lecky (iii. 419) calls these letters "one of the ablest statements of the American case." Cf. Frothingham's Rise of the Republic, p. 208, and Shea's Hamilton, p. 255. For Boston's letter of gratitude to Dickinson, see Record Com. Rept., xvi. p. 243. Lecky (iii. 320, 348) thinks the ablest presentation of the case against the colonies is The Controversy between Great Britain and her Colonies (London, 1769; Boston, 1769), written to offset the Farmer's Letters. Bancroft says that Grenville himself wrote the constitutional argument in it, and the Board of Trade furnished the material. The pamphlet itself is usually ascribed to William Knox, the Under-Secretary of State, though the names of Whately, Israel Mauduit, and John Mein have been sometimes preferred. (Cf. Carter-Brown, iii. no. 1,666; Sabin, x. p. 532.)
[208] The True Sentiments of America contained in a Collection of Letters sent from the House of Representatives of the Province of Massachusetts Bay to several persons of high rank in this kingdom. Together with certain papers relating to a supposed Libel on the Governor of that Province and a Dissertation on the Canon and Feudal Law (London, 1768). The volume includes the petition to the king of Jan. 20, 1768; the letter of Jan. 12, 1768, to Dennis Deberdt; letters to Shelburne, Conway, Camden, Chatham, and others,—most of these papers being written by Sam. Adams; Joseph Warren's attack on Bernard, from the Boston Gazette and the Dissertation on the Canon and Feudal Law, attributed here to Jeremy Gridley, but written in fact by John Adams (Sabin, viii. 32,551; Brinley, ii. 4,163 Menzies, 946; Carter-Brown, iii. 1,603. Cf. John Adams's Works, x. 367).
A Letter to the Right Honorable the Marquis of Rockingham from the Province of Massachusetts Bay, Jan. 12, 1768, signed by the Speaker, was circulated in broadside (copy in Mass. Hist. Soc. library). Warren was writing in the public prints at this time (Loring's Hundred Boston Orators, 53). Samuel Cooper was corresponding with William Livingston (Sedgwick's Livingston, pp. 136-138). Bernard was writing to Hillsborough, Nov. 30, 1768, that "Bowdoin had all along taken the lead in the Council in their late extraordinary proceedings" (Mass. Hist. Soc. Proc., viii. 86). The Boston merchants printed Observations on several acts of parliament passed in the 4th, 6th, 7th years of [the] reign of [George III.]: also on the conduct of the officers of the customs since those acts were passed, and the board of commissioners appointed to reside in America (Boston, 1769),—Sabin, xiii. 56,501; Carter-Brown, iii. 1,690. Cf. Hutchinson's character of Bowdoin (Massachusetts, iii. 293).
There is among the Chalmers Papers in the Sparks MSS. (no. x. vol. ii.) a paper dated June, 1768, without signature, which begins, "Being in the gallery a few days before the Assembly was dissolved, I heard Mr. Otis make a long speech, part of the substance of which was, as near as I can remember, couched in the following terms", etc.; and (Ibid., vol. iii.) there is the affidavit of Richard Sylvester, a Boston innholder, sworn to before Hutchinson, and describing the speeches of the Boston leaders.
For the spirit of the hour, see the lives of the chief Boston patriots, like Sam. Adams, and a summary of the progress of opinion in Amory's James Sullivan (Boston, 1859). Admiral Hood was so far deceived that in 1769 he wrote from Boston that the spirit of sedition had fallen (Grenville Papers, iii.).
[209] Not to name the newspapers, see the address of Georgia to the king (Sparks MSS., xlix. ii.); that of New Jersey (N. J. Archives, x. 18); that of Virginia, May 16,1769 (Hutchinson's Mass. Bay, iii. App. p. 494). On these royal petitions, see Ryerson's Loyalists, i. ch. 14.
A collection of papers of which William Livingston, as is supposed, was one of the writers, and which were printed in the New York Gazette and in other newspapers, were published separately as A Collection of Tracts from the late newspapers (Frothingham's Rise of the Republic, 244; Carter-Brown, iii. no. 1,617; Brinley, iv. no. 6,135). The correspondence of the Philadelphia merchants is in the Sparks MSS., lxii.
[210] Hutchinson's view of the matter is in his vol. iii. p. 227. These and other letters and papers were included in several publications, published about the same time:—
Letters to the Earl of Hillsborough from Gov. Bernard, General Gage, and the Honorable his Majesty's Council for the province of Mass. Bay, with an appendix containing divers proceedings referred to in said letters (Boston, folio, 1769; Salem, quarto, 1769; London, n. d.,—Sabin, ii. 4,924; Carter-Brown, iii. 1683).
Letters to the Ministry from Gov. Bernard, General Gage, and Commodore Hood; and also memorials to the lords of the treasury from the commissioners of the customs, with sundry letters and papers annexed to said memorials (Boston, 1769; London, n. d.,—Sabin, ii. 4,923; Carter-Brown, iii. 1,684).
A third extraordinary Budget of Epistles and Memorials between Sir Francis Bernard, some natives of Boston, and the present ministry, against North America and the true interests of the British Empire and the rights of mankind (no imprint,—Sabin, ii. 4,927; Haven in Thomas, ii. p. 600).
Copies of letters from Sir Francis Bernard to the Earl of Hillsborough (two editions, without place, and one, Boston, 1769,—Sabin, ii. 4,921).
There had already been efforts made by the Boston authorities to get at the contents of these letters by a request to Bernard for a statement respecting his transmissions to England (Mass. State Papers, ed. Bradford, 115, 120; Papers pub. by the Seventy-Six Soc.; Lee MSS. in Harvard College library, i. nos. 42-45). Bernard ascribed all his tribulations to his enforcement of the laws of trade (Bernard Papers in Sparks MSS., iii. 150). For Bernard's character, see John Adams, iv. 21, Mahon, v. 235, and Palfrey in his review of Mahon. Bernard left Boston Aug. 2, 1769.
[211] The general belief is that the author of this defence was Samuel Adams (Wells, i. 282; Bancroft, vi. 312), though it has been ascribed to William Cooper, to James Otis, and to Otis and Adams combined. Cf. Barry's Mass., ii. 399; Franklin, viii. 459; Mass. Hist. Soc. Proc., i. 485; Mem. Hist. Boston, iii. p.28; Carter-Brown, iii. nos. 1,643, 1,644, 1,716. See Report as spread on the Town Records, in Rec. Com. Rept., xvi. p. 303.
[212] A letter to the right honourable the earl of Hillsborough, on the present situation of affairs in America. Also an appendix in answer to a pamphlet intitled, The constitutional right of Great-Britain to tax the colonies (London, 1769; Boston, 1769,—Sabin, viii. p. 297; Carter-Brown, iii. 1,681).
This also has been attributed to S. Adams; but Hutchinson (iii. 228, 237) believed that James Bowdoin was the writer.
[213] The notes include comments on the Protest of the Lords against the repeal of the Stamp Act (Franklin, iv. 206); on A letter from a merchant in London (iv. 211); on Good Humour, or a way with the Colonies (iv. 215); on An inquiry into the nature and causes of the present disputes (iv. 281); on The true constitutional means of putting an end to the disputes (iv. 298). On Franklin in London at this time, see Sparks's Franklin, vii. 338, 350, 354, etc. The tracts above noted are said by Sparks to be in the Philadelphia Athenæum, but some of these titles appear, as having Franklin's notes, in the Brinley Catal. ii. nos. 3,218-22. Israel Mauduit's Short View of the Hist. of the Colony of Mass. Bay (Lond., 1769) is noted in Brinley, and not by Sparks.
[214] Sparks's Franklin, iv. 258. Some letters of Strahan (1767-8, etc.) are in the Penna. Mag. of Hist., x. 322. The letters of Wm. Samuel Johnson are also of importance (Mass. Hist. Soc. Coll., xlix.). He describes Barré and others in debate. Barré, in March, 1769, predicted the loss of the colonies (Smyth, Lectures, ii. 384), and in April Johnson is writing, "It seems pretty probable that we shall go on contending, and fretting each other, till we become separate and independent empires" (Beardsley's Life of W. S. Johnson, p. 65; also see pp. 38, 42).
A few of the other more significant pamphlets of 1769 may be mentioned: The rights of the Colonies and the extent of the legislative authority of Great Britain (London, 1769), by Phelps, the under-secretary to Lord Sandwich. Allan Ramsay's Thoughts on the origin and nature of government (London, 1769). Alexander Cluny's American Traveller, or Observations on the British Colonies in America by an old and experienced trader (London, 1769), said to have been instigated by Chatham. The present state of liberty in Great Britain and her Colonies (London, 1769). The present state of the Nation (London, 1768), by Robert Tickle, and the reply to it, called Considerations on the dependencies of Great Britain (London, 1769), and Burke's Observations on it in his Works (Boston, 1865, i. p. 269). The Case of Great Britain and America, addressed to the King and both houses of parliament (London, 1769; Philad., 1769). Richard Bland's Enquiry into the rights of the British Colonies, intended as an answer to The Regulations lately made concerning the Colonies (Williamsburg, 1769; London, 1769). Cf. Carter-Brown, iii. nos. 1,646, 1,652, 1,660, 1,661; Stevens's Hist. Coll., i. 510; Sabin, xvi. nos. 61,401, 67,679.
[215] Hutchinson's History, vol. iii. John Adams's Works, ii. 224; ix. 317; x. 204.
[216] Barry's Mass., ii. 407 and references.
[217] Reprinted in London in three editions the same year. Brinley, i. no. 1,655, etc.; Carter-Brown, iii. no. 1,719, etc.; Haven in Thomas, ii. p. 608.
[218] Not the historian, but his uncle. Cf. Mass. Hist. Soc. Proc., xi. 240.
[219] The letter of the Boston committee, covering the copy sent to the Massachusetts agent in London, is among the Lee Papers in the Univ. of Virginia. There is a fac-simile of its signatures in the Mem. Hist. Boston, iii. 39. Some copies of the Narrative have a list of the persons in England to whom copies were sent.
The Letter from the Town of Boston to C. Lucas, Esq., one of the Representatives of the City of Dublin, in Parliament, inclosing a Short Narrative, etc., was printed in Dublin, 1770 (Cooke Catal., iii. no. 256; Sabin, x. no. 40,348). The other contemporary American accounts are in the Boston Gazette, March 12th (bordered with black lines); Jos. Belknap's in Belknap Papers (MS., i. 69); letter of William Palfrey to John Wilkes, and one of Governor Hutchinson in Mass. Hist. Soc. Proc., vol. vi. 480 (March, 1863).
The accounts in Gordon (vol. i.) and Hutchinson (vol. iii. 270) are also those of contemporaries. Cf. documents in Hist. Mag., June, 1861, and in Niles's Principles and Acts of the Rev. Dickinson, on March 31st wrote of it to Arthur Lee, from Philadelphia. Lee's Life of A. Lee, ii. 299.
Crispus Attucks, one of the slain, usually called a mulatto, is held by J. B. Fisher, in the Amer. Hist. Record (i. 531), to have been a half-breed Indian. Cf. Mem. Hist. Boston, iii. 32; George Livermore's Historical Research.
[220] Separately, Boston, 1770 (Carter-Brown, iii. no. 1,721; Haven in Thomas, ii. p. 608).
[221] There are other later accounts in J. S. Loring's Hundred Boston Orators; Frothingham's "Sam. Adams's Regiments" (Atlantic Monthly, June and Aug., 1862, and Nov., 1863), which is epitomized in his Life of Warren (ch. 6); Wells's Samuel Adams; Tudor's Otis; Bancroft's United States (orig. ed., vi. ch. 43, with references); histories of Boston by Snow and Drake, and the Mem. History of Boston, iii. 38, 135; Barry's Mass., ii. 409; Gay's Pop. Hist. U. S., iii. ch. 14.
[222] John Adams's Works, x. 201. The brief used by John Adams is in the Boston Public Library, and a fac-simile of the opening paragraph is in the Mem. Hist. Boston, iii. 38. It is printed by Kidder (p. 10). A portrait of Lynde, the presiding judge, is given in the Memorial Hist. of Boston (ii. 558), and in the Diaries of Benj. Lynde and Benj. Lynde, Jr. (Bost., privately printed, 1880), where will be found all that remains of his charge. Sam. Adams's "Vindex" criticised the arguments for the defence in the Mass. Gazette. Cf. Buckingham's Reminiscences, i. 168.
[223] He was a Scotch bookbinder in Boston. Thomas's Hist. of Printing (1874), ii. 228.
[224] Brinley, i. 1659; Carter-Brown, iii. no. 1,722; Haven in Thomas, ii. p. 608.
[225] This volume was reprinted in Boston in 1807 and 1824, and in Kidder's monograph (1870). Other contemporary accounts of the trial are in Hutchinson (iii. 328); by S. Cooper in Franklin's Works (vii. 499); and reminiscences are in John Adams's Works, x. 162, 201, 249. Cf. Life of Josiah Quincy, Jr. (ch. 2), and P. W. Chandler's American Criminal Trials (vol. i.).
[226] Brinley, i. no. 1,658.
[227] Cf. Proc. of his Majesty's Council, relative to the deposition of Andrew Oliver, Esq. (Boston, 1770, Carter-Brown, iii. no. 1,752).
[228] The principal later English accounts are in Stedman, Mahon (v. 268), Grahame (iv. 310), Ryerson's Loyalists (i. ch. 16). Lecky (England in the Eighteenth Century, iii. 369, 401) thinks Bancroft shows violent partisanship, and says that "few things contributed more to the American Revolution than this unfortunate affray. Skilful agitators perceived the advantage it gave them, and the most fantastic exaggerations were dexterously diffused."
[229] A fac-simile of the Mass. Spy, March 7, 1771, with its blackened columns, is given in the Mem. Hist. of Boston (iii. 135). On the same day Revere showed illuminated pictures of the scene from his house in North Square. The orations were gathered and published collectively by Peter Edes in 1785, and this book appeared in a second edition in 1807. The successive speakers were Thomas Young, James Lovell, Benjamin Church (third ed. was corrected by the author), John Hancock, Joseph Warren (two editions), Peter Thacher, Benj. Hichborn, Jonathan W. Austin, William Tudor, Jonathan Mason, Thomas Dawes, Geo. R. Minot, and Thomas Welsh. These orations were published separately, and Hancock's is said by Wells (ii. 138) to have been largely written by Samuel Adams. Hancock's was reprinted in New Haven. Some of them are in Niles's Principles and Acts (1876), p. 17; and Loring (Hundred Boston Orators) particularly commemorates them.
When Warren's oration in 1772 was published, a poem by James Allen (1739-1808) was to have accompanied it, but some of the committee, having doubts of Allen's sentiments, suppressed it, when the poet's friends later published it separately as The poem which the town of Boston had voted unanimously to be published with the late oration; with observations relating thereto; together with some very pertinent extracts from an ingenious composition never yet published [Anon.] (Boston, 1772). Cf. Brinley Catal., iv. no. 6,771; J. C. Stockbridge's Harris Coll. of Amer. Poetry (Providence, 1886), p. 8.
The oration of Thacher, delivered at Watertown during the siege of Boston, is said to be rarest of all the separate issues (Cooke, no. 2,428).
A sermon on the massacre, by the Rev. John Lathrop, of the Second Church in Boston, "preached the lord's day following", was first printed in London, 1770, and reprinted in Boston, 1771 (Carter-Brown, iii. 1,792; Haven in Thomas, ii. p. 610).
[230] These documents are Hutchinson's address, Apr. 26th (p. 505); the instructions of Boston to its representatives, May 15th (p. 508; cf. John Adams's Works, ix. 616); and various other documents interchanged between them which largely concern Hutchinson's removing the Assembly to Cambridge (pp. 515-542).
In June, 1770, it would seem that Hutchinson's life was threatened because of the passions aroused by the massacre, and there is in the Mass. Hist. Soc. library (Misc. MSS., 1632-1795) a brief note of his written on being advised to protect himself, dated June 22, 1770, at Milton. It is printed in the Society's Proceedings, Jan., 1862, p. 361.
[231] Arthur Lee's Political detection (London, 1770), being letters addressed to Hillsborough, Bernard, and others (Carter-Brown, iii. 1,760).
Edmund Burke's Thoughts on the Cause of the present discontents (3d ed., London, 1770,—in Works, Boston ed., 1865, i. p. 433).
Catharine Macaulay's Observations on a pamphlet entitled Thoughts on the Cause of the present discontents (London, 1770).
Extract of a letter from the House of Representatives of the Mass. Bay to their agent, Dennys de Berdt, with some remarks (London, 1770).
There is a portrait of De Berdt in the State House, Boston.
[232] Beardsley's Life of W. S. Johnson, p. 84.
[233] Instructions of the House of Representatives to Franklin, in Mass. Hist. Soc. cabinet.
[234] Works, vii. 486, 488, 493, 501.
[235] Ibid., vii. 508.
[236] P. O. Hutchinson, ii. 79. Some interesting letters of Hutchinson (1771-1772) are in the English Public Record Office, and are printed in the Mass. Hist. Soc. Proc., xix. 129-140.
[237] One of an indicative English stamp is Allan Ramsay's Hist. Essay on the English Constitution, wherein the right of Parliament to tax our different provinces is explained and justified (Sabin, xvi. 67,675).
[238] Mass. Hist. Soc. Proc., xii. 9.
[239] A duplicate of the original document is in the Lee Papers in the University of Virginia library. Cf. Franklin's account of his conversation with Dartmouth, Works, viii. 25, 28; and of his presentation of the petition and one forwarded the next year (viii. 47). For duplicates of originals, see Calendar of Lee Papers, p. 5 (vol. ii. nos. 5-7).
[240] John Adams's Works, iv. 34; Frothingham's Warren, 200, Wells's Sam. Adams, i. 509, ii. 62; Grahame's United States, iv. 328; Barry's Mass., ii. 448; Goodell's Provincial Laws, v. index. Something of the sort seems to have been suggested in Rhode Island, Oct. 8, 1764, in a letter to Franklin (Works, vii. 264). Dawson (Sons of Liberty in N. Y., 61-64) finds the earliest movement in the New York Assembly, Oct. 18, 1764. Thornton (Pulpit of the Rev., 45, 191) notes the suggestion in a letter of Jonathan Mayhew, June 8, 1766, to James Otis, that there might be a communion of colonies, as there was a communion of churches.
[241] Prefiguring, as John Adams said, the Declaration of Rights in 1774, and the Declaration of Independence in 1776. Wells's Adams, i. 501, where it is printed; John Adams's Works, ii. 514; Haven in Thomas, ii. p. 622. Franklin's preface to the English edition of the Rights is in his Works, iv. 381. Cf. Francis Maseres's Occasional Essays (London, 1809). The proceedings of Boston, Oct. 28th and Nov. 20th, were also printed. The letters of John Andrew from Boston begin at this time (Mass. Hist. Soc. Proc., viii. 316-412).
[242] Wirt's Patrick Henry, 3d ed., p. 87, Life of R. H. Lee, i. 89; No. Amer. Rev., March, 1818; Randall's Jefferson, i. 80; Tucker's Jefferson, i. 52; Franklin's Works, viii. 49. Frothingham (Rise of the Republic, 284, 312, 327) traces the growth of the committee, and determines the time of appointing such a committee by each colony. The correspondence of the Rhode Island Committee is in the R. I. Col. Rec., vii. On the committee in New York, see Dawson's Westchester County, 10. Philadelphia appointed one May 20, 1774 (4 Force, i. 340). Sparks points out the distinction between the Committees of Correspondence, Inspection, and Safety (Gouverneur Morris, i. 31).
[243] Mr. Bartlett was born Oct. 23, 1805, and died in May, 1886. His life was so largely devoted to advancing the study of American history that this record needs to be made, and reference given to Professor William Gammell's Life and Services of the Hon. John Russell Bartlett, a paper read before the Rhode Island Historical Society (Providence, 1886), and the tribute by Charles Deane in the Amer. Antiq. Soc. Proc., Oct., 1886.
[244] Mr. Wm. R. Staples had earlier published the Documentary Hist. of the destruction of the Gaspee (Providence, 1845). An account by Ephraim Bowen is given in S. G. Arnold's Rhode Island (vol. ii. ch. 19, 20). For local accounts, see Providence Plantations (Providence, 1886), pp. 58, 359; O. P. Fuller's Warwick, R. I. (p. 101); Foster's Stephen Hopkins (ii. 83, 245); E. M. Stone's John Howland (p. 35). For the political bearings to the country at large, see Frothingham's Rise of the Republic (p. 278); Parton's Jefferson (ch. 14, 15); Life of R. H. Lee (i. 85); Lossing's Field-Book (ii. 60). There are in the Sparks MSS. (xliii. vol. i. p. 140, etc.) the letters of the British Admiral Montague, and depositions copied from papers in the English Archives. G. C. Mason, in the R. I. Hist. Soc. Coll., vii. 301, etc., traces the presence of different English war vessels in the bay between 1765, and 1776. Cf. New Jersey Archives, x. 375, 395.
[245] Sam. Adams seems to have drafted this reply, with aid on law-points from John Adams, the latter being almost the exclusive author of the reply of the House to the second speech of the governor. Wells thinks Hawley may have had a hand in these papers. Cf. Quincy's Quincy, p. 113; Life, etc., of John Adams, i. 118-133, ii. 310; Wells's Sam. Adams, ii. 29, 31, 41; Tudor's Otis, p. 410; Bradford's Mass. State Papers, 336, 399; Bancroft, orig. ed., vi. 446-453; Niles's Principles (1876 ed., pp. 79, 87); Speeches of his Excellency, with the answers of his Majesty's Council and the House of Representatives (Boston, 1773). A meeting of the town of Boston was held in Faneuil Hall, March 8, 1773, "to vindicate the town from the gross misrepresentations of his Excellency's message to both Houses", and its proceedings were circulated in broadside.
One of the most violent of the tracts of this year was The American Alarm, or the Bostonian Plea, by a British Bostonian (Boston, 1773,—Stevens's Nuggets, no. 3,257). Joseph Reed was writing to Dartmouth on the condition of affairs (Reed's Reed, i. ch. 2); and as respects the feelings farther south, see Gov. Wright's letters from Georgia to Dartmouth, in the Georgia Hist. Soc. Coll., vol. iii.
[246] Pownall (b. 1722; d. 1805), who knew America well from residence and official station, proved a man of great forecast, and a prudent, conciliatory friend of both countries. We have his speech in Parliament in 1769 (Haven in Thomas, ii. 604, 649), and know how impatient Parliament was of his wisdom (Smyth, Lectures on Mod. Hist., Bohn's ed., ii. 384-85). We see his admirable spirit in his correspondence (1772) with James Bowdoin (Mass. Hist. Soc. Proc., v. 238).
Pownall had first published his Administration of the Colonies (London, 1764) at the very outset of the dispute, and it was enlarged in 1765. In an appendix to the edition of 1766 he made a strong statement of his views in opposition to the right of Parliament to tax America, and he reprinted this in a fourth ed. (1768), and also issued it separately. In the fifth edition (1774) he added a second part, giving his plan of pacification. The last edition was in 1777 (Sabin, xv. nos. 64,841, etc.; Carter-Brown, iii. nos. 1,425, 1,470, 1,537, 1,636). In 1780 Pownall published a tract that has acquired some fame, as a forecast of the future republic (Harper's Cyclo. of U. S. Hist., ii. 1,151), entitled A Memorial to the Sovereigns of Europe on the present state of affairs between the old and new world (London, 1780). Somebody undertook what was rather fancifully called A Translation of this tract into plainer language (London, 1781,—Brinley Catal., no. 4,109), but it did not meet with Pownall's approval. In 1783 he published a Memorial addressed to the sovereigns of America (Lond., 1783,—Sabin, xv. nos. 64,824, etc.). On his tracts, see Shea's Hamilton, p. 261. There is a portrait of Pownall at Earl Orford's in Norfolk (Mass. Hist. Soc. Proc., Nov., 1875), and an engraving of it published in 1777, of which there is a reproduction in the Mag. of Amer. Hist., Nov., 1886, with an account of the governor by Robert Ludlow Fowler. The painting in the gallery of the Mass. Hist. Soc. is said to have been painted from this engraving. Cf. Mem. Hist. Boston, ii. 63.
[247] First in a Philadelphia paper, Sept. 29, in a letter dated London, Aug. 4.
[248] We have full reports of the Boston meetings. The newspapers give us the accounts of the earlier irregular conferences, and the town printed the reports of the first regular town meetings in The votes and proceedings of the freeholders and other inhabitants of the town of Boston, in town meeting assembled, according to law, the 5th and 18th days of Nov., 1773 (Boston, 1773). It was reprinted in London by Franklin, with a preface. The call of the committee for the later meetings exists in Mr. Bancroft's collection, in the handwriting of Joseph Warren (Frothingham's Warren, 255), and was circulated in broadside. The reports of the meetings of Nov. 29th and 30th exist in the original minutes in the handwriting of William Cooper among the papers in the Charity Building in Boston, and have been printed by Dr. Green in the Mass. Hist. Soc. Proc. (xx. 10, etc.). The prepared record was printed in a broadside dated Dec. 1, 1773, and a copy is preserved in the Boston Public Library. It represents the meeting as called "for consulting, advising, and determining upon the most proper and effectual method to prevent the unloading, receiving, or vending the detestable tea sent out by the East India Company, part of which has just arrived in this harbor." Hutchinson wrote from Milton, Nov. 30, to his son, one of the consignees of the tea, who had taken refuge in the Castle, that the proclamation, warning the meeting to dissolve, which he had just sent into Boston, might "possibly cause [him] to take [his] lodging at the Castle also" (P. O. Hutchinson, i. 94). The full report of these meetings was also printed in the Boston newspapers, and particularly in the Boston Gazette of Dec. 6th, whose report was reprinted in one of Poole's Mass. Registers, and in the Boston Journal, Dec. 15, 1849.
Of the meeting of Dec. 16, 1773, and the raid of the "Mohawks" upon the tea-ships, an account was printed in the Boston Gazette of Dec. 20th (Buckingham's Reminiscences, i. 169), and in the Boston Evening Post of Dec. 20th (Bay State Monthly, April, 1884, p. 261), and the spread of these accounts as they were copied through the country can be followed in the postscript of the Penna. Gazette of Dec. 24th. The speech of Josiah Quincy, Jr., at the meeting, as reported by himself and sent back to his wife after he had reached England, is the only harangue of this critical stage of the controversy in Boston of which we have any detailed account (Life of Quincy, 2d ed., 124; Frothingham's Warren, 39; Mass. Hist. Soc. Proc., Dec. 16, 1873). The conclave which planned the raid was held in Court Street (Drake's Old Landmarks of Boston, 81; Mass. Hist. Soc. Proc., Dec., 1871, for an account of the punch-bowl around which the conclave was held). There are a number of contemporary journals and statements respecting these riotous proceedings. The letter of the Mass. Ho. of Rep. to Franklin, Dec. 21, is preserved in the Lee MSS. (Harvard College library, vol. ii. no. 14), and is printed in Mass. Hist. Soc. Coll. (xxxiv. 377). There are details in the Andrews letters (Mass. Hist. Soc. Proc., viii. 325), in Newell's diary (Ibid., Oct., 1877), in the Jolley narrative (Ibid., Feb., 1878, p. 69), in John Adams's diary (Ibid., Dec., 1873, and his letter, Dec. 17, to James Warren, in Works, ix. 333). A copy of the testimony of Dr. Hugh Williamson before the Privy Council, Feb. 19, 1774, copied from his own draft, and relating the destruction of the tea, was transcribed from the original in 1827, while in the possession of Dr. Hosack, and is included in the Sparks MSS. (lii. vol. iii.). Cf. Mass. Hist. Soc. Coll., xxxiv. 373, etc.
All this and other documentary evidence can be found in Force; in Niles's Principles and Acts (1876), p. 96; in the Mass. Hist. Soc. Proc., Dec. 16, 1873; and in Francis S. Drake's Tea Leaves: being a collection of letters and documents relating to the shipment of tea to the American colonies in the year 1773, by the East India tea company. Now first printed from the original manuscript. With an introduction, notes, and biographical notices of the Boston tea party (Boston, 1884). The only considerable narrative of an actor in the "Mohawk" raid is G. R. T. Hewes's Traits of the Tea Party (N. Y., 1835), which was written out for him by B. B. Thacher. Cf. also Retrospect of the Boston Tea Party, with a memoir of Hewes (N. Y., 1834); Loring's Hundred Boston Orators (p. 554). The last survivor was Capt. Henry Purkitt, who died March 3, 1846. A picture of David Kinnison, also called the last survivor, is in Lossing's Field-Book of the Revolution (i. 499). Of Samuel Phillips Savage, the moderator of the meeting of Dec. 16th, there is a portrait owned by Mr. G. H. Emery, engraved in Drake's Tea-leaves.
Hutchinson gives his view of the transactions in the third volume (pp. 422-441) of his Massachusetts. (Cf. Ryerson's Loyalists, i. 383.) There is among the Bernard Papers (vol. viii. p. 229), in the Sparks MSS., a paper giving the story as those in authority transmitted it to the home government.
Among the later American sources, see Frothingham's Warren (ch. 9), his Rise of The Republic (ch. 8), and his paper in Mass. Hist. Soc. Proc. (Dec. 16, 1873): Tudor's Otis (ch. 21); Wells's Adams (ii. ch. 28), Ramsay's Amer. Rev. (i. 373); Holmes's Annals (ii. 181); Palfrey's New England (iv. 427); Barry's Mass. (ii. ch. 15); Bancroft's United States (orig. ed., vi. ch. 50); Lossing's Field-Book (i. 496); and his paper in Harper's Monthly (iv. 1); Snow's Boston; the Mem. Hist. of Boston (iii. 46-51); Essex Inst. Hist. Coll. (xii. 197); Niles's Register (1827), from Flint's Western Monthly Rev. (July, 1827).
The first accounts of the destruction of the tea which reached London (Jan. 19, 1774) were printed in the London newspapers of Jan. 21st and in the Gentleman's Mag. (1774, p. 26), copied in Carlyle's Frederick the Great (vi. p.524). Cf. Mahon (v. 319); May's Const. Hist. Eng. (ii. 521); Massey's England (ii. ch. 18); McKnight's Burke (ii. ch. 20); Fitzmaurice's Shelburne (ii. ch. 8). Lecky, in his Eng. in the Eighteenth Century (iii. p. 371), speaks of the speech of George Grenville, reported by Cavendish, as particularly worthy of attention. Cf. Parliamentary History and Force's Amer. Archives (4th ser., i. 133).
For the commotions in the other colonies, see, for New Hampshire, beside the histories, the N. H. Prov. Papers, vii. 408, 413, and the letter of July 26, 1774, in the Chas. Lovell Papers (Mass. Hist. Soc.). For Connecticut, the general histories of the State, Peters's Connecticut, and McCormick's reprint, to be corrected by J. L. Kingsley's Hist. Address (1838), New Englander (1871, p. 248), and Scribner's Mag., June, 1878. Cf. also J. H. Trumbull's Blue Laws true and false. Dawson (Westchester County, p. 7) claims that the refusal of the New York authorities to allow the tea ship Nancy to enter the harbor was more significant than the riot in Boston, and he cites various authorities. Cf. Lossing's Schuyler (i. ch. 16) and Leake's Lamb (ch. 6). For Pennsylvania, see the histories of Philadelphia; Niles's Principles and Acts (1876, p. 201); Reed's Life of Joseph Reed (i. ch. 2) for his letters to Dartmouth; Madison's Works (i. 10). For North Carolina, see Hist. Mag. (xv. 118).
[249] For a portrait of Cushing, see Mem. Hist. of Boston, iii. 34.
[250] Journals of the House, 1773; Boston Gazette; Alden Bradford's ed. of Mass. State Papers; Gent. Mag., July, 1773. The letters were first published June 16, 1773 (Mass. Hist. Soc. Proc., Oct., 1877, p. 339).
Copy of letters sent to Great Britain by Thomas Hutchinson and Andrew Oliver, and several other persons born and educated among us; which original letters have been returned to America (Boston, 1773; reprinted in Salem, 1773). The letters of Gov. Hutchinson and Lieut.-Gov. Oliver, 1st and 2d ed. (edited by Israel Mauduit) (London, 1774). The representations of Gov. Hutchinson and others contained in certain letters transmitted to England, and afterwards returned from thence (Boston, 1773). These letters are reprinted in Franklin before the Privy Council (Philad., 1859). Cf. Works relating to Franklin in the Boston Public Library, pp. 21, 22; Sabin, vi. p. 344, Haven in Thomas, ii. 632, 633; Stevens's Hist. Coll., i. p. 166.
[251] Mahon (v. 323) thinks it strange that any American of high standing should care to justify or palliate the conduct of Franklin. Goldwin Smith (Study of History, N. Y., 1866, p. 213) says: "Franklin alone, perhaps, of the leading Americans, by the dishonorable publication of an exasperating correspondence, which he had improperly obtained, shared with Grenville, Townshend, and Lord North the guilt of bringing this great disaster on the English race." Lecky (England in the Eighteenth Century, iii. 380, 416) alleges rather hastily that Hutchinson had once been concerned in using Franklin's letters with a certain disregard of rights. (Cf. Sparks's Franklin, iv. 450.) Some memoranda of Chalmers are in the Sparks MSS. (x. vol. iv.) Cf. Campbell's Lives of the Chancellors (vi. 105); Massey's England (vol. ii.); Adolphus's England (vol. ii. 34); Walpole's Last Journals, i. 255, 289.
[252] It is included in Sparks's edition, iv. 405, and embraces Franklin's letters to Cushing and his replies. Cf. also Sparks's Franklin, i. 356, viii. (his letters), 72, 79, 81, 85, 98, 100, 116, 117; Bigelow's Life of Franklin, ii. 130, 141, 158, 187, 206; Parton's Franklin, i. 560, 564, 582.
[253] A faithful account of the transaction relating to a late affair of honour between J. Temple and W. Whateley, containing a particular history of that unhappy quarrel (London, 1774). On Temple's connection with the Hutchinson letters, see the citations of the contemporary correspondence in Temple Prime's Some account of the Temple Family (N. Y., 1887), pp. 61-85.
[254] Franklin's Works, iv. 435.
[255] Ibid., iv. 441.
[256] Cf. Boston Daily Advertiser, April 3 and 5, 1856.
[257] Mass. Hist. Soc. Proc., xvi. 43; R. C. Winthrop's Speeches, 1878-1886, p. 1.
[258] Cf. Bancroft's United States, orig. ed., vi. 435; Almon's Biog., lit., and polit. anecdotes (Lond., 1797); Wells's Sam. Adams (ii. 74); Barry's Mass., ii. 462. Hutchinson's own account of the transactions is given in his third volume (pp. 400-418), which may be supplemented by sundry references in P. O. Hutchinson's Governor Hutchinson (pp. 82-93, 577; ii. 79), part of which refer to that editor's own views. C. F. Adams (Adams's Works, ii. 319) thinks the evidence nearly conclusive that John Temple was the person who gave the letters to Franklin. (Cf. P. O. Hutchinson, pp. 205, 210, 221, 222, 232, 353.) Cf. statement in Mass. Archives, "Miscellaneous", i. 386.
[259] Sparks's Franklin, iv. 426; Sparks MSS., xlviii.
[260] Sparks's Franklin, iv. 430. Cf. Ibid., viii. 93, 103, 110. Cf. Bigelow's Life of Franklin, ii. 189.
[261] An account of it is given in Israel Mauduit's edition of The letters of Gov. Hutchinson, etc. (London, 1774), with an abstract of Wedderburn's speech. There is a description of this scene in Bowring's Memoir of Jeremy Bentham (p. 59; cf. Monthly Mag., Nov. 10, 1802, and Sparks's Franklin, iv. 451). Gage wrote from London to Hutchinson, Feb. 2, 1774, that no man's conduct was ever so abused for so vile a transaction as Franklin's. There is a letter of Burke on the hearing (Sparks MSS., xlix. ii.). There is a contemporary double-folio print, Proceedings of his majesty's Privy Council on the address of the Assembly of Mass. Bay to remove the Governor and Lieutenant Governor, with the substance of Mr. Wedderburn's speech (Mass. Hist. Soc.). The whole proceedings are given in Franklin before the Privy Council in behalf of the Province of Mass. Bay, to advocate the removal of Hutchinson and Oliver (Philad., privately printed, 1859). Arthur Lee has a word to say on the scene (Life of A. Lee, i. 240, 273). Franklin is said to have worn a suit of Manchester velvet during this castigation from Wedderburn, which he did not put on again till he signed the treaty of alliance with France in 1778 (Mahon, v. 328).
[262] In 1772 the town of Boston had sent a printed circular to the neighboring towns, asking their advice as to the course best to be pursued in consequence of the crown's assuming to regulate the judges' salaries. Hutchinson (History, iii. 545, 546) gives the report of the committee of the Assembly on the grant of the governor's salary from the crown, and the governor's answer (July, 1772). For John Adams's controversy with Brattle on this point, see Adams's Works, iii. 513. On Oliver's impeachment, see Hutchinson (iii. 443, 445), and P. O. Hutchinson (i. 133, 142), and papers in the MS. collection of Letters and Papers, 1761-1776, in Mass. Hist. Soc. cabinet.
A portrait of Chief Justice Peter Oliver, by Copley, painted in England in 1772 (Perkins, p. 89), belongs to Dr. F. E. Oliver of Boston. Cf. photograph in N. E. Hist. and Geneal. Reg., July, 1886, with a memoir which was issued separately as Peter Oliver, the last chief-justice of the Superior Court of Judicature of the Province of Mass. Bay. A sketch by Thomas Weston, Jr. (Boston, 1886).
Something of the Boston spirit appears in various letters from her patriots which are printed in Leake's Lamb. The Familiar Letters of John and Abigail Adams begin at this time. Cf. summary in Sargent's Andre, ch. 4. Lecky finds (Eighteenth Century, iii. 379) in the talk of the hour the "exaggerated and declamatory rhetoric peculiarly popular at Boston." Isaac Royal's letter to Dartmouth, Jan. 18, 1774, is in Mass. Hist. Soc. Proc., Dec., 1873. There is a letter to the British officers at Boston attributed to General Prescott (Sabin, x. 40,316).
[263] The action of Parliament can be readily traced in Force, 4th ser., i. 35. The bill was immediately sent in print to this country, and it can be found in Force, in the N. H. Prov. Papers, vii. 402, and elsewhere.
[264] There are in the Boston Archives sundry record-books of this time: list of donations; records of Donation Committee; list of persons aided; cash-book of the Donation Committee. The House of Representatives at Salem, June 18, 1774, passed resolutions commending Boston to the aid of all, and sent these resolutions through the country in broadsides. The provincial congress at Cambridge, Dec. 6, 1774, recorded their vote and similarly scattered it. (Cf. Mass. Hist. Soc. Proc., xiii. 182.) For the gifts which came to Boston, and the attendant records and correspondence, see Mass. Hist. Soc. Coll., xix. 158, and vol. xxxiv.; Frothingham's Rise of the Republic, 382; Col. A. H. Hoyt's paper in the N. E. Hist. and Geneal. Reg., July, 1876. For the help from Virginia, see Mass. Hist. Soc. Proc., iii. 259.
For notes on the condition of Boston during the operation of the act, see the Andrews letters in the Mass. Hist. Soc. Proc., July, 1865, p. 330; Timothy Newell's diary, Ibid., Feb., 1859; Thomas Newell's, Ibid., Oct., 1877, p. 335; M. H. Soc. Coll., xxxi.; Bowdoin's letter to Franklin in Franklin's Works, viii. 127; letter of Ellis Gray in M. H. Soc. Proc., xiv. 315; Charles Chauncy's Letter to a friend ... on the sufferings of the town of Boston (Boston, 1774); Review of the rise, progress, services, and sufferings of New England, humbly submitted to the consideration of both houses of Parliament (London, 1774); A very short and candid appeal to free born Britons, by an American, i. e. Carolinian (London, 1774). For a general treatment of the effect of the Port Bill, see, among modern writers, Bancroft; Frothingham's Rise of the Republic, 319, and Life of Warren, ch. 10; Tudor's Otis; Wells's S. Adams (ii. 170); Reed's Joseph Reed (i. ch. 3); lives of John Adams, Josiah Quincy, Jr.; A. C. Goodell's Address at Salem in Essex Inst. Hist. Coll., xiii. p. 1; Pitkin's United States (i. App. 15); Grahame (iv. 358); Sargent's Dealings with the Dead (i. 152); and the histories of Boston. On the British side, see Parliamentary History, xvii. 1163; Annual Register, xvii. 1159; Donne's Corresp. of Geo. III. and North, i. 174; Protests of the lords, ed. by Rogers, ii. 141; Adolphus, ii. 59; Massey, ii.; Pict. Hist. Eng. Geo. III., i. 159; Smyth's Lectures; Mahon (vi. 3); Ryerson's Loyalists (i. 358); Russell's Life and Times of Fox, ch. 5; Life of Shelburne, ii. 302; Chatham Corresp., iv. 342; Rockingham Memoirs, ii. 238; Macknight's Burke, ii. 50. The London limners made several caricatures out of the hungry Bostonians.
[265] Cf. letter from Portsmouth, N. H., in Mass. Hist. Soc. Proc., 2d ser., ii. 481; Hollister's Connecticut, ii. ch. 6; lives of Jay by Jay and by Flanders, and documents in Force, for the effect in New York; Minutes of the Prov. Congress of New Jersey, p. 3; New Jersey Archives, x. 457, etc. A paper by Joseph Reed on the action in Pennsylvania (N. Y. Hist. Soc. Coll., 1878, p. 269) was controverted by Thomson (Ibid., p. 274), who held that Reed had no intimate knowledge in the matter. Cf. Chas. Thomson's letter to Wm. H. Drayton in the Penna. Mag. of Hist. (ii. 411), from the Sparks MSS., and his letter in the N. Y. Hist. Soc. Proc. (1878, p. 218); Niles's Principles and Acts (1876), p. 203; Dickinson's Polit. Works, i. 285-416. The resolutions of Delaware are in the Life of George Read, pp. 88, 101. For the Maryland action, see Niles (p.258) and McSherry's Maryland. For Virginia, see Rives's Madison (i. 60); Niles (p. 272); Life of R. H. Lee (i. 97); Randall's Jefferson (i. 85); Parton's Jefferson (p. 130). For North Carolina, McRee's Iredell.
[266] The covenant was printed in the Mass. Gazette, June 23, 1774, and is reprinted in Mass. Hist. Soc. Proc. (xii. 45), where is also (Ibid., xi. 392; also see xii. 46) the protest against the covenant, and the loyalist signers of the protest (given in Mass. Gazette, July 7, 1774). This drew out a proclamation from Gage, pointing out the error of illegal combinations (Mass. Gazette, June 30, 1774, and Mass. Hist. Soc. Proc., xii. 47). It was turned into verse in ridicule (Moore's Songs and Ballads of the Rev., p. 65). Dr. Belknap gave his reasons for not entering such a combination (Mass. Hist. Soc. Proc., 2nd ser., ii. 484). Cf. Frothingham's Rise of the Republic, 336. Timothy Ruggles soon organized a counter-association of loyalists.
[267] An account of this interview by Hutchinson himself was first published at length in Mass. Hist. Soc. Proc., xv. p. 326, Oct., 1877. Cf. Ibid., April, 1884, p. 164; P. O. Hutchinson, i. 158, and ii. preface; Donne's Corresp. of Geo. III. and North, i. 194.
[268] There are in the Mass. Hist. Soc. cabinet two early, apparently official copies of the act for regulating the government. Cf. Ramsay's Revolution in South Carolina (i. 204); Frothingham's Rise of the Republic, p.347, where are various references. Hutchinson wrote from London that he was opposed to these acts (Mass. Hist. Soc. Proc., Jan., 1862, p. 301). A letter from Jos. Wood, in London, April 18, 1774, makes note of the efforts of the Americans in London to prevent Parliament committing itself so hastily to the Regulating Act (Penna. Mag. of Hist., x. 265). Something of the spirit of these protests can be seen in Bishop Shipley's Speech intended to have been spoken on the bill for altering the charters of the colony of Massachusetts Bay (London, 1774). Cf. in reply A speech never intended to be spoken in answer to a speech intended, etc. (London, 1774). Cf., on Shipley, Franklin's Works, viii. 40. The bishop's views are also expressed in his Sermon before the Soc. for the propagation of the Gospel in foreign parts (London, 1773; Norwich, Conn., 1773). There is a portrait of Shipley in the European Mag., April, 1788.
For the debate in Parliament, see Force, 4th series, i. 65; Niles's Principles, etc. (1876 ed.), pp. 414, 419.
[269] Westchester County, N. Y., during the Amer. Rev. (Morrisania, 1886), pp. 84, 87.
[270] J. C. Hamilton's Repub. of the U. S., i. 55; Shea's Hamilton, ch. 7; Lossing's Schuyler, vol. i.; Life of Peter Van Schaack; Jones's N. Y. during the Rev., i. 477, 490, etc. John Adams (Works, ix. 407, 411) believed that New York held back. Dawson (Westchester, 9) thinks that ignorance or neglect is at the bottom of the usual view of the New York sluggishness, held to by writers, but he admits that Gouverneur Morris was doubtful for a while (p. 12; cf. Sparks's Life of Morris); he sets forth the great ability of the Tory organ, Rivington's Gazetteer (p. 127); he gives a fuller account than Hinman or Beardsley of the arrest of Samuel Seabury, the "Westchester Farmer", by Isaac Sears (pp. 127, 136; and on Sears, Jones, ii. 337, 622). Much can be gleaned from Tryon and Colden's letters to Dartmouth in N. Y. Col. Docs., viii.
[271] Beside the general histories, see, for Pennsylvania, the resolutions of Northampton County in Hist. Mag., ix. 49 (also see Penna. Archives, iii. 543); for Virginia, Jefferson's resolutions, a Summary view of the rights of British America (Williamsburg, London, and Philadelphia, 1774); the Fairfax County resolutions (Sparks's Washington, ii. 488), and Irving's Washington (vol. i. ch. 1); for North Carolina, E. F. Rockwell on Rowan County, in Hist. Mag. (xv. 118), and letters in N. E. Hist. and Geneal. Reg. (xiii. 329); for South Carolina, Hist. Mag., ix. 341, and xxii. 90; and Southern Quarterly, xi. 468; xiv. 37. In a more general way, for movements in the South, see, for South Carolina, Ramsay, Moultrie, Drayton, R. W. Gibbs; for North Carolina, Cooke, Jones, Foote, Martin, Caruthers's Caldwell; for Virginia, C. Campbell's Bland Papers, Wirt's P. Henry, Randall's Jefferson, Parton's Jefferson, Rives's Madison; and for Maryland, Purviance's Baltimore. For Southern sentiment of a Tory cast, see Jonathan Boucher's Views of the Amer. Revolution.
[272] Force's Amer. Archives, 4th ser., i. 333; Dawson's Westchester County, 18; Arnold's Rhode Island, ii. 334; W. E. Foster's Stephen Hopkins, ii. p. 232.
[273] Sparks's Franklin, i. 350. It is claimed that Sam. Adams was earlier. Cf. Wells, ii. p. 84.
[274] Bancroft, orig. ed., vi. 508.
[275] Bancroft, orig. ed., vii. 40. To New York the precedence is also given by Gordon, Ramsay, Hildreth, and Dawson (Westchester County, p. 19).
[276] Dawson, pp. 18, 19.
[277] Wells's Sam. Adams, ii. 221. Silas Deane's letters home are in Conn. Hist. Soc. Coll., ii.
[278] Works, ix. 339. Cf. E. D. Neill in Penna. Mag. of Hist., ii. 58; Scharf and Westcott's Philadelphia, i. 291.
[279] John Adams's Works, ix. 617, x. 78, 173; Life of Geo. Read, 93. The Congress met in Carpenter's Hall. (Cf. Scharf and Westcott's Philadelphia, i. 290; Egle's Penna., 141; Lossing's Field-Book, ii. 262.)
[280] Works, viii. 131, 142. The Congress had been variously constituted. New York and Pennsylvania had acted outside their legislatures. John Adams, in going through those States on his way to Philadelphia, had remarked "that some in them wanted a little animation." The spirit in New York is shown on the loyal side in Jones's New York during the Rev., i. 449. Cf. J. A. Stevens on "New York in the Continental Congress" in The Galaxy, xxii. 149. The credentials of the Delaware members are in the Life of Geo. Read, 91. The Virginia delegates were at variance. Patrick Henry was eager for a fight. R. H. Lee thought Great Britain would revoke her obnoxious legislature. Washington was undecided. The instructions of the Virginia delegates are in Jefferson's Writings, i. 122. Gadsden was for forcing the conflict by attacking Gage in Boston; and a rumor reaching Philadelphia that Boston was undergoing bombardment fanned the flame, and Samuel Adams wrote home that America would stand by the devoted town. In Georgia the royal governor had prevented the choice of delegates, and that province was not represented. The opposing feelings, North and South, can be gathered from some of the tracts Which the Congress elicited:—
A few remarks upon some of the resolutions and votes of the Continental Congress at Philad. in Sept., and the Provincial Congress at Cambridge in November, by a friend to Peace and Good order (Boston, 1775; same, no date,—Sabin, iv. 15,529). The two Congresses cut up (Boston and New York,—Sabin, iv. 15,597). Thomas Jefferson's Summary View of the rights of British America, set forth in some resolutions, intended for the inspection of the delegates now in convention (Williamsburg, 1774; Philad., 1774). A letter from a Virginian to the members of the Congress to be held at Philadelphia, Sept., 1774 (without place, 1774; Boston, 1774, in three editions; London, 1774),—in opposition to the non-importation combination. Address to the deputies in General Congress (Aug. 10, 1774, Charlestown, S. C.,—Sabin, v. 15,511). Letter from a freeman of South Carolina to the deputies of North America, assembled in High Court of Congress at Philadelphia (Charlestown, S. C., 1774,—Sabin, x. 40,277).
The relations of the colonies to the Congress appear in the lives of the leading members. For New England, of which there was not a little jealousy, and whose members refused to attend Sunday sessions (Wells's Sam. Adams, ii. 237; Life of George Read, 97), see C. F. Adams's John Adams; Wells's Sam. Adams, vol. ii. 218; Frothingham's Joseph Warren, ch. 12; Quincy's Josiah Quincy; Austin's Elbridge Gerry, ch. 5. For the Middle States, see Sedgwick's William Livingston; Lossing's Schuyler, i. ch. 17; Shea's (p. 234) and other lives of Hamilton; Read's Geo. Read, 93; Jay's John Jay, and the life of Jay in Flanders's Chief Justices. For Virginia, the lives of Washington (Marshall; Sparks, ii. 505; Irving, i. 365); Rives's Madison, i. 51; Lee's lives of Arthur and R. H. Lee; Wirt's Patrick Henry, 105; lives of Jefferson (Tucker, i. ch. 3; Parton, ch. 17). For South Carolina, the life of Rutledge in Flanders.
The legal aspects are particularly touched in Towle's Constitution, 311; Cocke's Constitutional Hist., i. 29; Scott's Development of Constitutional Liberty, 166; Oscar S. Strauss's Origin of Republican Form of Government, (N. Y.) 1885. Cf. Daniel Webster's Address before the N. Y. Hist. Society, Feb. 23, 1852, pp. 36, 40; and H. A. Brown's Oration on the Centennial of the Congress, 1874.
The general works to be consulted are Grahame, iv. 373; Bancroft, orig. ed., vii. 127; Hildreth, vol. iii.; Pitkin, i. ch. 8; Frothingham's Rise of the Republic, 335, 359; Greene's Hist. View of the Amer. Rev., 79; Dunlap's New York, i. ch. 29, 31, and Jones's N. Y. during the Rev., i. 468; Gordon's Pennsylvania, ch. 20; Mulford's New Jersey, 389.
[281] Mag. of Amer. Hist., i. 438.
[282] Sabin, iv. 15,542. A MS. copy of the journal, attested by C. Thomson, and evidently brought home by Thos. Cushing, a Massachusetts member, is in the library of the Mass. Hist. Soc. (Proc., i. 271). Later editions are The whole proceedings of the American Continental Congress held at Philadelphia (New York, 1775,—Sabin, iv. 15,598); Extracts from the journal and from the votes and proceedings of Congress, published in Philad., reprinted in Boston and London (Ibid., iv. 15,526-28; Brinley, ii. 3,990; Stevens, Nuggets, no. 3,264). There were other editions in Providence, Newport, New London, Hartford. There were two editions published in London by Almon in 1775 (Sabin, iv. 15,544; Brinley, ii. 3,989). The journal appears also in the several authenticated series of the Journals of Congress, 1777, 1801, 1823, etc.
The correspondence of Congress with Gage (Oct. 10th and 20th) is contained in the Journal, i. 18, 46.
The documents of the Congress are given by Force.
[283] Works, i. 150, ii. 340, 366, 370, 382, 387, 393, ix. 339, 343; his correspondence with Mercy Warren is in Mass. Hist. Soc. Coll., xliv. 348.
[284] Vol. ii. p. 535. It was printed separately at the time in Philad., Watertown (Mass.), and Newport. It will also be found in the Journals of Congress, i. p. 19; in Ryerson's Loyalists, i. p. 411; in Marshall's Hist. of the Colonies, App. ix. p. 481. Cf. Story's Constitution, i. 179; Curtis's Constitution, i. 22; Pitkin's United States, i. 283; Hildreth's United States, iii. 43; Gay's Pop. Hist. U. S., iii. 341; Frothingham's Rise of the Republic, p. 371; Greene's Hist. View, p. 83; Ramsay's South Carolina, i. p. 233.
[285] Cf. note on the authorship of it, in N. Jersey Archives, x. 529.
[286] It is printed from this copy, with fac-similes of the signatures, in the Mag. of Amer. Hist. (May, 1883, p. 377), together with the letter transmitting it (Stevens's Hist. Coll., i. 167; Bibl. Hist., 1870, no. 1,026). Franklin printed it at once in Almon's edition of the Journal of the Congress (Works relating to Franklin in the Bost. Pub. Lib., p. 24; U. S. 47th Cong., 1st Sess. Misc. Doc., no. 21, p. 20). It is also in the Philad. ed. of the Journal, i. 46; and was separately printed at Boston in 1774 and 1775, and at New York in 1776, with other documents (Sabin, iv. nos. 15,581-83; Haven in Thomas, ii. pp. 642-43). It has since been given in Force, 4th ser., i. 934; N. H. Prov. Papers, vii. 437-41; N. Jersey Archives, x. 522; Spencer's United States, i. 348, 381; Griffeth's Historical Notes, 136. Cf. Ramsay's So. Carolina, i. 242; John Adams's Works, i. 159, x. 273; Frothingham's Rise of the Republic, 377; Amer. Quart. Review, i. 413.
[287] Cf. Journals of Congress, i. 26; Pitkin's United States, i. App. 17; Spencer's United States, i. 338; Lee's Life of R. H. Lee, i. 119; Jay's Life of John Jay, i. App.; Ramsay's South Carolina, 263. There was published in London A letter to the people of Great Britain in answer to that published by the American Congress (London, 1775,—Sabin, x. no. 40,509).
[288] Given in Ramsay's Rev. in So. Carolina, i. 279; N. H. Prov. Papers, vii. 426, etc.
[289] Given in the Appendix of Frothingham's Joseph Warren, and in Journal Cont. Cong., i. p. 9. Cf. Mem. Hist. Boston, iii. 59; Life of George Read, 95.
[290] New York during the Rev., i. 34, 36.
[291] P. O. Hutchinson's Governor Hutchinson, i. 272.
[292] Cf. a letter of A. Lee on the effect of the Congress on the ministry, in Life of A. Lee, i. 213.
[293] The plan was published in Philadelphia at the time, and was included the next year in Galloway's Candid examination of the mutual claims of Great Britain and the colonies, with a plan of accommodation on Constitutional principles (New York, 1775, and again in 1780). This drew out An Address to the Author of a pamphlet entitled, etc., to which Galloway responded in A Reply (N. Y., 1775). It was later included in Galloway's Historical and political Reflections on the Rise and Progress of the Amer. Rebellion (London, 1780). Cf. Force, 4th ser., i. p. 1; Sparks's Franklin, vii. 276, viii. 145; Bigelow's Franklin, ii. 249; Gordon, i. 409; John Adams's Works, ii. 387, iv. 141; Jones's N. Y. during the Rev., ii. 109, 430; Bancroft, United States, orig. ed., vii. 140; Pitkin's United States, i. 299; Hildreth's United States, iii. 46; Frothingham's Rise of the Republic, 367, 399; Wells's Sam. Adams, ii. 218; Dawson's Westchester County, 34; Graydon's Memoirs, 117; lives of Washington by Marshall and Sparks; lives of John Jay by Jay and by Flanders; and of Patrick Henry by Wirt.
Jones, in his New York during the Rev., i. ch. 2, with notes on pp. 438, 449, 477, 490, explains the relations of the loyalists to this Congress. Governor Franklin sent the Galloway plan to Dartmouth with comments (N. J. Archives, x. 503).
Galloway explains his relations to this Congress, and divulged more than the agreement of secrecy was held to warrant, in his Examination before the House of Commons in a committee on the American Papers (London, 1779; 2d ed., with explanatory notes, 1780; ed. by Thomas Balch, Philad., for the Seventy-Six Society, 1855). There is a Dutch version, 1781 (Muller, 1877, no. 1,200). Respecting this examination, Lecky (ii. pp. 443, 481, etc.) says: "As a loyalist, Galloway's mind was no doubt biased; but he was a very able and honest man, and he had much more than common means of forming a correct judgment."
It has been supposed that Galloway conveyed to Governor Franklin the information which through that official reached Dartmouth (N. Jersey Archives, x. 473). Galloway is said also to have prepared the pamphlet Arguments on both sides in the dispute, etc., which is also reprinted in the N. J. Archives, x. 478. On Galloway, see Sabine's Loyalists, i. 453.
Haven ascribes to Thomas B. Chandler, and Sabin (no. 16,591) to Dr. Myles Cooper, a tract, What think ye of Congress now? Or an Enquiry how far the Americans are bound to abide by and execute the decisions of the late Continental Congress, with a plan by Samuel [sic] Galloway, Esq., for a proposed union between Great Britain and her Colonies (N. Y., 1775; Lond., 1775). This pamphlet accuses the New England republicans of urging the Congress beyond the purpose for which its members were elected.
[294] The articles were printed in all newspapers, and in those of Boston, Nov. 7th. They are also in the Journals of Congress, i. 23; in Ramsay's Rev. in South Carolina, i. 252; in H. W. Preston's Docs. illus. Amer. Hist. (N. Y., 1886), p. 199; in Force, 4th ser., i. 915, with fac-simile of signatures; in the Charleston Year Book (1883), p. 216, with fac-similes; in Jos. Johnson's Traditions and Reminiscences of the Amer. Rev. (Charleston, 1851), p. 51, with fac-similes. The signatures, somewhat reduced, are given herewith from Smith's Hist. and Lit. Curiosities, 2d ser., p. liii. Maryland's copy of the original printed broadside, with written signatures, is in the Penna. Hist. Soc. library. Frothingham gives the best account of the genesis of the document and the effect it had (Rise of the Republic, 373, 396). In Massachusetts, a broadside Resolution of the Provincial Congress, signed by Hancock, Dec. 6th, was sent to all the ministers, urging them to give their influence to secure a general compliance (in Boston Pub. Lib., H. 90 a, 3). This plan of association was opposed by Galloway, Duane, and all the South Carolina delegates except Gadsden. Jones (N. Y. during the Rev., i. 438) gives the loyalist view. The association of the delegates, etc., by Bob Jinger, is a burlesque on the association (Harris Collection of Amer. Poetry, p. 13).
[295] Bancroft, orig. ed., vii. 161.
[296] Cavendish Debates, ed. by Wright, viz., Debates of the House of Commons in 1774 on the bill for making more effectual provision for the government of the Province of Quebec, with Mitchell's map of Canada (Lond., 1839). See also the proceedings and the bill in Amer. Archives, 4th ser., i. 170-219, 1823-1838. The bill is also in the Regents of the University of New York's Report on the boundaries of the State of N. Y., i. 90. Cf. Burke's letter on the Quebec Bill and the bounds of New York in N. Y. Hist. Coll., 2d ser., ii. 215, 219; Mill's Boundaries of Ontario, p. 50; Gordon's Sermon in Thornton's Pulpit of the Rev., 217, Shea's Hamilton, 324; and Works of Alex. Hamilton.
The satirical print "Virtual Representation", given herewith, follows an original print in a volume of Proclamations in the library of the Mass. Hist. Society. Cf. Lossing's Field-Book of the Rev., i. 158.
[297] Cf. Lecky, England in the Eighteenth Century, iii. 400, 433, on the effect of the act. Cf. also The Singular and Diverting Behaviour of Doctor Marriot, His Majesty's Advocate-General; Who was Examined concerning the Religion and Laws of Quebec; And found means from his incomparable Wit and Subtility To defeat the Purposes for which he was brought to the Bar of Parliament On the 3d of June, 1774 (Phila., 1774). Samuel Johnson's Hypocrisy unmasked, or a short inquiry into the religious Complaints of our Amer. Colonies (Lond., 1776, 3 editions), defends the bill, and says it extends no more rights to Catholics than some of the colonies do (Sabin, ix. no. 36,297). A Letter to Lord Chatham on the Quebec Bill reached five editions (London, 1774; reprinted, Boston, 1774), and was corrected in the second edition. Sabin (x. 40,468) says it was attributed to Lord Lyttelton, and more probably to Sir William Meredith. The New York reprint (1774) gave it as A letter from Lord Thomas Lyttelton to Wm. Pitt, Earl of Chatham (Stevens, Hist. Coll., ii. no. 433). Wilkie published The justice and policy of the late Act of Parliament, for making more effectual provision for the government of Quebec, asserted and proved; and the conduct of the administration respecting that province stated and vindicated (London, 1774, two editions), which is attributed to William Knox. Francis Masères published An account of the proceedings of the British and other Protestants, inhabitants of the province of Quebec, with Additional papers concerning the province of Quebec (Lond., 1776), and The Canadian Freeholder ... shewing the sentiments of the bulk of the freeholders of Canada, concerning the late Quebeck act (Lond., 1777, in three vols.). An Appeal to the public, stating and considering the objections to the Quebec bill (London, 1774), was dedicated to the patriotic society of the Bill of Rights.
[298] A letter to the inhabitants of the Province of Quebec (Philad., 1774). Lettre addressée aux habitans de la Province de Quebec (Philad., 1774). A clear idea of the genuine and uncorrupted British Constitution in an address to the inhabitants of the province of Quebec from the forty-nine delegates in the Continental Congress at Philadelphia, Sept. 5-Oct. 10, 1774 (London, 1774). Cf. Sabin, iv. 15,516, ix. p. 293, x. 40,664; Journals of Congress, i. 39.
[299] P. O. Hutchinson's Governor Hutchinson, i. 296.
[300] Aspinwall Papers (Mass. Hist. Soc. Coll.), ii. 706.
[301] Cf. Reed's Life of Reed, i. 76, 78, 82, and George Bancroft's Jos. Reed, p. 10. Governor Franklin's letters to Dartmouth are in the New Jersey Archives (x. 473, 503), where the anxiety of the king is disclosed (Ibid. x. 496, 534-5). Chatham's opinion is cited in Quincy's Life of Josiah Quincy, Jr., 268. Later English views are given in Mahon, vi. 13, and Lecky, iii. 408, 443.
[302] Dawson's Westchester County, pp. 36, 37.
[303] On the Tory side were Doctors Cooper, Inglis, Seabury, and Chandler; on the Whig side, William Livingston, John Jay, and Alex. Hamilton. Cf. Lossing's Schuyler, i. ch. 17.
[304] Dawson, Westchester County, p. 137 (see also Hist. Mag., 1868, p. 9), contends for Wilkins, and doubts what is put forward as Seabury's own evidence in the Mag. of Amer. Hist., Feb., 1882, p. 117. Cf. Amer. Quart. Church Rev., April, 1881; Shea's Hamilton, ch. 7; Manual of N. Y. City, 1868, p. 813.
[305] The Seabury-Wilkins tracts are:
Free thoughts on the proceedings of the Continental congress, held at Philadelphia, Sept. 5, 1774: wherein their errors are exhibited, their reasonings confuted and the fatal tendency of their non-importation, non-exportation, and non-consumption measures, are laid open to the plainest understanding [etc.]; in a letter to the farmers, and other inhabitants of North America in general, and to those of the province of New York in particular. By a farmer. [Signed A. W. farmer.] (Without place, 1774.)
The congress canvassed: or, an examination into the conduct of the delegates, at their grand convention, held in Philadelphia, Sept. 1, 1774. Addressed to the merchants of New York. By A. W., Farmer (Philad., 1774).
There was a reply to the Farmer in Holt's New York Journal, Dec. 22, 1774 (Dawson, p. 40); but the most extraordinary rejoinder was that of the youthful Alexander Hamilton, then eighteen years old, in A full vindication of the measures of the congress, from the calumnies of their enemies; in answer to a letter, tender the signature of A. W., Farmer. Whereby his sophistry is exposed [etc.]; in a general address to the inhabitants of America, and a particular address to the farmers of the province of New York. [Signed, A friend to America.] (New York, 1774.) Cf. P. L. Ford's Bibliotheca Hamiltoniana (N. Y., 1886), no. 1.
The "Farmer" replied in A view of the controversy between Great Britain and her colonies. In a letter to the author of A full vindication of the measures of congress, from the calumnies of their enemies. By A. W., Farmer? (New York, 1774.)
Hamilton's final rejoinder is The farmer refuted; or, a more comprehensive and impartial view of the disputes between Great Britain and the colonies. Intended as a further Vindication of the congress, in answer to a Letter from a Westchester farmer, entitled a View of the controversy between Great Britain and her colonies. By a sincere friend to America (1775). Cf. Ford, no. 3.
These productions of the young Whig are contained in the various editions of Hamilton's Works. Cf. J. Hamilton's Repub. of the U. S., i. 65; Shea's Hamilton, p. 330.
[306] A friendly address to all reasonable Americans on our political confusions (New York, 1774; America, 1774; Lond., 1774; Dublin, 1775; abridged, New York, 1774. Sabin, iv. 16,587-8). A copy with the author's MS. corrections was sold at Bangs's, N. Y., Feb., 1854, no. 178. The resulting tracts are: The other side of the question, or a defence of the liberties of No. America, in answer to a late Friendly Address (N. Y., 1774; Boston, 1775). By Philip Livingston. Strictures on a pamphlet entitled a Friendly Address (N. Y., 1774; Philad., 1774; Boston, 1775). This is by Charles Lee, and is reprinted in the Charles Lee Papers, in N. Y. Hist. Soc. Coll., 1871, p. 151. The strictures on the Friendly Address examined and a refutation of its principles attempted (Philad., 1775, two editions). This is sometimes ascribed to Thomas B. Chandler, and sometimes to Lieut. Henry Barry. Cooper also printed The American querist, or some questions proposed relative to the present disputes between Great Britain and her American colonies (N. Y., 1774; Boston, 1774; London, 1775,—Sabin, iv. 16,586).
[307] It is printed in Almon's Prior Documents (1777), with Franklin's name, and Sparks includes it in his edition of Franklin (iv. 466). Lee is also said to have had a main hand, aided by Franklin, in An appeal to the justice and interests of the people of Great Britain in the present dispute with America (London, 1774). Cf. Sparks's Franklin, iv. 409. Another tract ascribed at the time to Franklin was really written by James Wilson, namely, Considerations on the nature and extent of the legislative authority of the British parliament Philad., 1774. Cf, Sparks's Franklin, iv. 409.
[308] Philad. and London, 1774; included in Political Writings of Dickinson (Wilmington, 1801, vol. i.), and in Penna. Archives, 2d ser., iii. 560. Cf. Hist. Mag., x. 288. Governor Bernard briefly set forth his view of The Causes of the present distractions in America (1774), and also gathered certain letters written from Boston in 1763-68, and published them as Select letters on the trade and government of America (London, 1774,—Sabin, ii. 4,920, 4,925). The government printed a Report of the Lords' Committee, appointed to inquire into the several proceedings in the colony of Mass. Bay, in opposition to the sovereignty of his Majesty (London, 1774). Granville Sharp's Declaration of the people's natural right to a share in the legislature, issued in London (1774), was reprinted in Boston, New York, and Philadelphia (Haven in Thomas, ii. p. 650).
[309] Cf., for instance, the letters of the king to Dartmouth, in the Dartmouth Papers (Hist. MSS. Com. Rept., ii.); proceedings in Parliament given in Force, 4th ser., i. 5, and in Niles's Principles, etc.; Hutchinson's diary, including his interview with the king (P. O. Hutchinson, i. p. 157) and talks with Pownall (p. 251); the picture of Fox and Barré in debates in Smyth's Lectures (ii. 386), and such more general accounts as those in Frothingham's Rise, etc. (p. 344), Bancroft's United States (vii. 173, 186, 194), Parton's Franklin (ii. 5), and papers by T. H. Pattison in the New Englander (xl. 571), and Winthrop Sargent in the No. Amer. Rev., lxxx. p. 236. The letters of Franklin (Works, iv.) add much, and the influence and speeches of Chatham bring him into prominence.
[310] Dawson's Westchester, 48, 50, 60, where the authorities of the diverse views are cited. Its sessions closed April 3d, and it was the last Assembly under the royal order. Its proceedings are in Jones's New York during the Rev., i. 506. Within a month a general association was signed (April 29th) in New York of the opposers of government (Jones, i. 505). The proceedings of the New York and Elizabethtown committee of observation, relating to infractions of the non-importation agreements, are in the N. Jersey Archives, x. 561. The records of the provincial congress (which followed) are at Albany, and are partly printed in Force. The Sparks MSS. (no. xxxvii.) show extracts, 1775-78. (Cf. Dawson, 91. Cf. Hamilton's Repub. of the U. S., i. ch. 3; Reed's Jos. Reed, i.93.) As soon as Governor Tryon discovered the temper of the Continental Congress he sought safety on board a man-of-war in the harbor (Ibid., 118), and later in the year (Dec. 4th) he addressed a letter to the people of the province, urging the adoption of plans of reconciliation (Ibid., 141).
[311] Henry was a character of which, as time goes on, there is an appreciating estimate. His grandson, William Wirt Henry, is preparing an extended memoir, having already sketched his career in the Hist. Mag., xii. 90, 368, xxii. 272, 346; Penna. Mag. of Hist., p. 78. Professor Moses Coit Tyler has embodied new material in his Patrick Henry of the "American Statesmen Series." Cf. Frothingham's Rise, etc., 179; Mahon, v. 89; and references in Poole's Index. For contemporary judgments, see John Adams's Works, i. 208, x. 277; and Jefferson's letter in Hist. Mag., Aug., 1867, and comments in Ibid., Dec., 1867. Alexander Johnston, in his Representative American Orations (vol. i.), selects Henry's speech in the House of Delegates, March 28, 1775, as the leading specimen of Revolutionary oratory. The usual portrait of Patrick Henry is the one by Sully, representing him with his spectacles raised upon his forehead. It was engraved by W. S. Leney in 1817. There is a woodcut in Lossing's Field-Book, ii. 439. His is one of the portraits in Independence Hall. On the class rank of the leading agitators in Virginia, compare Rives's Madison, i. 71; Grigsby on The Virginia Convention of 1776; and John Tyler's Address at Jamestown, May, 1857.
[312] Journals of Congress, i. 40.
[313] Cf. verses "Loyal York" from Rivington's Gazetteer, in Moore's Songs and Ballads, 74.
[314] Sparks's Washington, iii. 37. For Hancock's character, see Wells's Sam. Adams, an unfavorable view. Cf. also Sanderson's Signers of the Decl. of Ind.; Loring's Hundred Boston Orators; C. W. Upham's speech in the Mass. Legislature, March 17, 1859, on the bill for preserving the Hancock House. Hancock's correspondence as president of Congress is in Force, 4th ser., v.; 5th ser., i., ii., iii.
[315] Cf. ed. in 13 vols. Also see List of delegates, with journal of their proceedings from May 10 to July 31, 1775 (Philad., 1775,—Sabin, x. 41,447). Extracts from the votes, etc., were printed in New York; and their Journal in Philad. and New York (Haven in Thomas, ii. 656). There are notes on the debates in John Adams's Works, ii. 445. Cf. Elliot's Debates, i. 45. A fac-simile of the minutes for Dec. 26, 1775, signed by Chas. Thomson, is given in J. J. Smith's Hist. and Lit. Curios., 2d ser., p. xiii. The several publications of the Congress (included also in their Journals) are as follows:—Declaration by the representatives of the United Colonies ... setting forth the causes and necessity of taking up arms (Philad., Watertown, Newport, 1775; London, 1775,—Sabin, iv. 15,522). Cf. L. H. Porter's Outlines of the Const. Hist. of the U. S., p. 38.
The twelve United Colonies by their delegates in Congress to the inhabitants of Great Britain, July 8, 1775 (Philad., 1775; Newport, 1775,—Sabin, iv. 15,596). It was drafted by R. H. Lee. Cf. his Life, i. 143. Cf. Ramsay's Rev. in S. Carolina, p. 362.
Address of the twelve United Colonies ... to the people of Ireland (Philad. and New York, 1775,—Sabin, iv. 15,512).
Address from the delegates of the twelve United Colonies to the people of New England (Newport, 1775; reprinted in the R. I. Hist. Mag., 1885).
A petition to the king was adopted July 8th. It is said to have been moulded, in part at least, upon an appeal of Richard Stockton, of New Jersey, dated Dec. 12, 1774 (Orderly-book of Sir John Johnson, p. 176-78). Cf. Force, 4th ser., iv. 607; Ramsay, i. 355; Sparks's Franklin, i. 372, x. 435; Bancroft, vii. 186; Barry's Mass., ii. 60, 61, with references; Lee's Arthur Lee, i. 47; ii. 312. The London agents were instructed to print and circulate it (Journals, i. 112). Mahon (vol. vi.) says that the king was influenced by a mere punctilio in not replying to it, and Dartmouth writes to Carleton that it found no favor in or out of Parliament.
On the choice by Congress of Washington as commander-in-chief, see John Adams's Works, ii. 417; Bancroft, orig. ed., vii. ch. 37; Hildreth's United States; Hamilton's Hamilton, i. 110; Frothingham's Rise of the Repub., 430, and his paper in Mass. Hist. Soc. Proc., March, 1876, and C. F. Adams in Ibid., June, 1858.
On the proposed articles of confederation (May 10th) and the debate thereon, see Sparks's Franklin, v. 91; N. Jersey Archives, x. 692; Secret Journals of Congress (July and Aug., 1775); and a contemporary draft of the articles in Letters and Papers, 1761-1776 (MSS. in Mass. Hist. Soc. library).
In June, 1775, the Congress was called upon to approve the form of autonomy into which the progress of events had forced the people of Massachusetts Bay. Mr. A. C. Goodell, Jr., has traced the legal bearings of successive steps in a paper in Mass. Hist. Soc. Proc., May, 1884, p. 192. The word "province" was renounced, as the dependence upon the royal governor had ceased; and the word "colony" accepted, as indicating the modified dependence which still held applicable to the relations of the people to the throne. Up to April, 1776, the regnal year was used in acts, but upon the Declaration of Independence being received, all legislative acts run in the name of the "State." For the change of government in New Hampshire, see Belknap's Hist. of N. Hampshire, and papers in the Belknap MSS. (Mass. Hist. Soc. Proc., x. 324). An Historical Sketch of the Hillsborough County Congresses held at Amherst, N. H., 1774 and 1775, with other Revolutionary Records, by Edw. D. Boylston, was published at Amherst in 1884.
On May 10th Congress adopted Rules and articles for the better government of the troops raised and to be raised by the twelve United English Colonies (Philad., Watertown, Mass., New York, 1775). Also in Force, 4th ser., ii., 1855; N. H. Prov. Papers, vii. 538; R. I. Col. Rec., vii. 340; N. J. Prov. Cong., etc. (1879), p. 264. The Massachusetts articles of war were much the same. The Rules arranged by Timothy Pickering were published in 1775, and a presentation copy from Pickering to Gen. John Thomas, with a letter annexed, belongs to W. A. Thomas, of Kingston, Mass.
The plan of Congress for organizing the militia is given in their Journals, i. 118. They also caused to be printed W. Sewall's Method of making saltpetre (Philad., 1775). A paper by C. C. Smith on the making of gunpowder during the Revolution is in Mass. Hist. Soc. Proc., March, 1876. As to the manufacture of other munitions of war, see Bishop's Hist. Amer. Manuf., i. ch. 17 and 18, and index, under cannon and firearms; and J. F. Tuttle on the Hibernia furnace, in the N. J. Hist. Soc. Proc., 2d ser., vi. 148.
An agreement of the members (Nov. 9th) to keep the proceedings secret is given in fac-simile in Force, 4th ser., iii. 1,918. A Committee of Secret Correspondence, for preserving relations with sympathizers in Europe, was established Nov. 29th. (Cf. C. W. F. Dumas's letters in Diplom. Corresp., ix.; and Force, 5th ser., ii. and iii.)
For the Congress in general, see the histories of Gordon, Pitkin (i. ch. 9), Bancroft (vii. 353, viii. 25, 51), Grahame (iv. 407), Hildreth (iii. ch. 31); Greene's Hist. View, 89; Frothingham's Rise, etc., 419; Thaddeus Allen's Origination of the Amer. Union; Lecky (iii. 465); Ryerson (i. ch. 23); and the histories of the original States. Also, see lives of the members, etc.,—Franklin (by Sparks, Bigelow, Parton), Washington (by Marshall, Sparks, Irving), Sam. Adams (by Wells, ii. ch. 37), John Adams (by Adams, i. 212, ii. 408, x. 163, 171, 396, and his Familiar Letters, 83), R. H. Lee (i. 140), Schuyler (by Lossing, i. 316), Jefferson (by Randall, i. ch. 4, by Parton, ch. 19), Jay (by Jay), Madison (by Rives, i. 105), Geo. Read (by Read, 110), Gouverneur Morris (by Sparks, i. 46), Rutledge (by Flanders, ch. 8); lives of John Alsop and Philip Livingston (Mag. of Amer. Hist., i. 226, 303); Silas Deane's letters in Conn. Hist. Soc. Coll., ii.; diary of Christopher Marshall; Mag. of Amer. Hist., by John Ward, ii. 193; Poole's Index, p. 295. A memorial of the inhabitants of Newport to the Congress is in the R. I. Hist. Mag., July, 1855. Sam. Adams wrote, Nov. 16th, from Philadelphia to Bowdoin: "The petition of Congress has been treated with evident contempt. I cannot conceive that there is any room to hope for the virtuous efforts of the people of Britain" (Mass. Hist. Soc. Proc., xii., 227). Walpole (Last Journal, i. 439) describes the effects of the action of this Congress in England.
The most significant controversial reply in England to the action of Congress came from a man of whom William S. Johnson (Beardsley, p. 71) was reporting to his American friends that he "was not much above an idiot" in appearance, but could repay one for his unfavorable appearance when he spoke,—Dr. Samuel Johnson, who published in 1775 his Taxation no tyranny, an answer to the resolutions and address of the American Congress, passing through four editions in that year. Macaulay says of it: "The arguments were such as boys use in debating societies. The pleasantry was as awkward as the gambols of a hippopotamus." Cf. Johnson's works, all editions; Boswell's Johnson; Bancroft, orig. ed., vii. 257-8; Smyth's Lectures, ii. 399; Fonblanque's Burgoyne, 110; Sabin, ix. 36,303, where (36,304-9) are various tracts which appeared in answer. Cf. Cooke Catal., no. 1,315. One of the most prominent of these replies was an anonymous Defence of the resolutions and address of the American congress, in reply to Taxation no tyranny. By the author of Regulus. To which are added, general remarks on the leading principles of that work, as published in the London Evening Post of the 2d and 4th of May; and a short chain of deductions from one clear position of common sense and experience (London, 1775,—Sabin, iv. 15,523). The next year the same writer published A letter to the Rev. Dr. [Richard] Price. Moore's Sheridan (ch. 3) gives an outline of an intended answer to Johnson.
A sort of semi-official response to the Declaration, made on the part of the government, appeared in the Rights of Great Britain asserted against the claims of America, which is usually ascribed to Sir John Dalrymple, though by some to James Macpherson. It appeared in seven or eight editions at London in 1776, and also the same year at Edinburgh and Philadelphia, and was translated into French (Sabin, v. 18,347). Dalrymple is said also to have been the writer of an Address of the people of Great Britain to the inhabitants of America, published anonymously by Cadell, at London, in 1775. This was a conciliatory effort at coöperation with certain placating measures, which the government sought to promote, and copies of the tract in large numbers are said to have been sent to America for distribution (Sabin, v. 18,346; Sparks Catal., no. 709; Stevens, Nugget, no. 3,106).
A Portuguese Jew, Isaac Pinto, living in Holland, took up the line of argument used in the Rights of Great Britain, and "employed a venal pen", as Franklin expressed it, "in the most insolent manner, against the Americans" (Sparks Catal., no. 2,075; Diplom. Corresp. of the Rev., ix. 265). Pinto's tracts were addressed to Samuel Barretts of Jamaica, and were called Lettre ... au sujet des troubles qui agitent actuellement toute l'Amérique Septentrionale, and a Seconde Lettre (both La Haye, 1776,—Sabin, xv. 62,988-89). The English translation, Letters on the American Troubles, appeared the same year in London (Sabin, xv. 62,990). Pinto was answered in Nouvelles observations, and a Réponse followed, also La Haye, 1776 (Sabin, xiii. 56,095, xv. 62,991).
Almon published in 1775 an Appeal to the justice and interests of the people on the measures respecting America, and the same year a Second appeal; and later, by the same author, A speech intended to have been delivered in the House of the Commons in support of the petition from the general Congress at Philad. There has been much difference of opinion as to the writers of these tracts, the names of Arthur Lee, C. Glover, Lord Chatham, and Franklin having been mentioned. (Cf. Cooke Catal., iii. no. 1,033; R. H. Lee's Life of A. Lee, i. 19.)
[316] "Massachusettensis", a Tory writer, brought out his first letter in the Mass. Gazette, Dec. 12, 1774, and continued them at intervals till April 3, 1775. The evidence that their writer was Leonard is presented in Bancroft, orig. ed., vii. 231; by Lucius Manlius Sargent in the N. E. Hist. and Gen. Reg., July, Oct., 1864, or vol. xviii. 291, 353 (from the Boston Transcript). The letters were separately published in New York, 1775, as The present political state of the province of Mass. Bay in general and the town of Boston in particular, and again as The origin of the Amer. Contest with Great Britain, or the present political state, etc.,—both giving the writer as "a native of New England" (Haven in Thomas, ii. p. 660). What is called a second and third edition (London, 1776) purports to follow a Boston imprint, and is called Massachusettensis, or a series of letters containing a faithful state of many facts, which laid the foundation of the present troubles, ... by a person of honor upon the spot. (Cf. Sabin, x. p. 219.) There was also an edition in Dublin, 1776 (Hist. Mag., i. 249). Lecky (iii. 419) speaks of these letters as showing "remarkable eloquence and touching and manifest earnestness." Trumbull, in the first canto of his M'Fingal, had early assumed that Leonard was the author. See, on Leonard, Sabine's Amer. Loyalists and Ellis Ames in the Mass. Hist. Soc. Proc., xii. 52.
John Adams, on the patriot side, began Jan. 23, 1775, a series of letters in the Boston Gazette, to counteract the effect of those of "Massachusettensis", and used the signature "Novanglus." The fight at Lexington broke off further publication for either disputant. Almon printed an abridgment of these papers in the Remembrancer, and they were later (London, 1783, 1784) published as A history of the Dispute with America, and were included finally in C. F. Adams's ed. of John Adams's Works (vol. iv.,—see also ii. 405, x. 178-79).
Both series were reprinted together in Boston in 1819, with a preface by Adams, who then still considered Sewall his adversary. Cf. Edmund Quincy's Life of Quincy, p. 381; Frothingham's Rise of the Repub., 393.
Of the Boston newspapers, Fleet's Evening Post was used indiscriminately as the organ of the patriots and their opponents, and expired April 24, 1775; the Boston Newsletter passed under governmental control, and alone continued to be published during the siege of Boston; the Massachusetts Gazette was the chief organ of the government; the Boston Gazette, devoted to the patriots, and more temperate than the Massachusetts Spy, which was later removed to Worcester. The most important Massachusetts journal outside of Boston was the Essex Gazette. (Cf. B. F. Thomas's Memoir of Isaiah Thomas, prefixed to the Amer. Antiq. Society's ed. of Thomas's Hist. of Printing [also see ii. 294]; J. T. Buckingham's Specimens of newspaper literature; F. Hudson's American Journalism; Mem. Hist. Boston, iii. 130.)
Rivington published in New York the principal paper in the Tory interests, known as the Gazetteer, 1773-1775, and later as the Loyal and then Royal Gazette. The footnotes in Moore's Diary of the American Revolution and Thomas's Hist. of Printing will show the newspapers of the other colonies.
The tracts of 1775-76 are too numerous to enumerate. Grahame characterizes the chief writers (United States, iv. 320). The monthly lists of the Gent. Mag. and Monthly Rev. will show most of their titles for England. Cf. Adolphus's England, ii. 331; Morgann's Life of Richard Price; Fitzmaurice's Shelburne, iii. 95. Haven's list for America ends with 1775; but the Brinley, Sparks, and other catalogues give many of them, and they can be found in Sabin by their authors' names. Many of these tracts embody plans of reconciliation.
[317] Sabin, xv. nos. 65,444, etc.; P. O. Hutchinson, ii. 38. John Wilkes, who had been Lord Mayor of London since 1774, brought the influence of its government against the ministry, and Price was offered the freedom of the city. Wilkes's speech of Feb. 6, 1775, is in Niles (ed. 1776, p. 425). In April, 1775, Wilkes and the aldermen had appealed to the king against the ministry (Bancroft, orig. ed., vii. 282), and there is a broadside copy of an appeal, July 5, 1775, by the city to the king, in the Mass. Hist. Soc. library. In Aug., 1775, when the king issued his proclamation for the suppression of the rebellion, Wilkes paid it studied affront.
[318] Varying views of the current of British feeling will be found in Frothingham's Rise of the Repub., p. 412, etc.; in Bancroft, orig. ed., vii. 219, 241, 257, etc., and in the final revision, iv. ch. 22 and 23. Lecky (iii. 573) thinks the majority of the people were with the king, and Hutchinson reported like views (Mass. Hist. Soc. Proc., xvi. 255). Galloway was still communicating to the ministry secret intelligence through Gov. Franklin, of New Jersey (N. J. Archives, x. 570), and was causing it to be known that the people in the colonies who were for war were the violent ones, while the Quakers and the Dutch, the Baptists, Mennonists, and Dumplers, were for moderation (Mass. Hist. Soc. Proc., xiv. 340).
A letter of John Wesley, June 14, 1775, to the Earl of Dartmouth, protesting against the war, is among the Dartmouth Papers, noted in the Hist. MSS. Com. Rept., ii., and is printed in Macmillan's Mag., Dec., 1870. Dartmouth, July 5th, wrote to Governor Franklin, of N. Jersey, that the king was determined to crush the revolt (N. J. Archives, x. 513, 645), and the king issued his proclamation "for suppressing rebellion and sedition" Aug. 23, 1775. It was sent over in broadside (Mass. Hist. Soc. Proc., xii. 186), and is printed in Force's Amer. Archives. In September Arthur Lee was writing of the violent temper of the ministry (Calendar of A. Lee Papers, p. 7, no. 62). The Diary of Governor Hutchinson helps us much, and throws light on the talk of compromise (ii. 25, 27), the temporary forgetfulness of the American question in the trial of the Duchess of Kingston (ii. 34), and Pownall's talk (ii. 127). The military resources of the colonies were not overlooked, and A letter to Lord Geo. Germain (London, 1776) warned that minister of what this meant, while the decision to pardon criminals in order to enlist them in the service of suppressing the rebellion did not a little to widen the breach (Lecky, iii. 585).
Abstracts of various papers in the Public Record Office for 1775 are given in the Mass. Hist. Soc. Proc., xiv. 340, etc.
[319] Cf. the indexes under the names of the leading debaters.
[320] The subject gets some enlivenment in the Toryism of Walpole's George the Third, edited by Le Marchant, and his Last Journals, edited by Dr. Doran.
Edmund Burke's conspicuousness makes his character and the record of it of first importance, and we need for successive estimates of his influence to consult the lives of him by Bisset, Prior, P. Burke, and Macknight. For his bearing as a speaker, see Wraxall's Hist. Memoirs (ii. 35). For an estimate of his arguments, see Smyth's Lectures (Bohn's ed., ii. 403, 408). His speeches on American Taxation (April 19, 1774) and conciliation (March 22, 1775) are in the various collected editions of his Works,—among the best of such being the Boston edition (1865, etc., Little, Brown & Co.) and the edition published by Nimmo (1885),—all of them following in the main Rivington's first octavo edition in 16 vols., London, 1801-27. Henry Morley has edited, with an introduction, Burke's Two speeches on Conciliation with America (London, 1886). His speech of March 22, 1775, is in Niles's Principles, etc. (1876 ed., p. 429). Lecky (iii. 426) sketches his policy. For conversations of Burke and North, see Mag. of Amer. Hist., Nov., 1881, p. 358.
The lives and speeches of Chatham are quite as necessary. Franklin was introduced into the Lords in Jan., 1775, by Chatham himself, when Chatham brought forward his motion for conciliation with America, and Franklin considered as much the best the notes which Josiah Quincy, Jr., made (Jan. 20, 1775) of the speeches of Chatham and Camden (Life of J. Quincy, Jr., 226, 264, 272, 318, 335, 403, 418; Sparks's Franklin, v. 43). Among the Cathcart MSS. is a contemporary copy of Chatham's plan which the Lords rejected (Hist. MSS. Com. Rept., ii. p. 28). The later speech of Dec. 20, 1775, for removing the troops from Boston, is also in Niles (1876 ed., p. 455). Cf. Gordon, i. 298; Force, 4th ser., i. 1,494; Smyth's Lectures, ii.; Parton's Franklin, ii. Mahon says that the whole spirit evaporates from the reports of Chatham's speeches in Almon. In March, 1775, Camden made a speech which Hutchinson (P. O. Hutchinson's Governor Hutchinson, 408, 410) describes and imagines Camden to have made in order that Franklin might take the speech to America. Hutchinson also in the same month describes Franklin in the Commons gallery, "staring with his spectacles", and listening to the speeches against America. Two speeches of Mansfield against America were criticised in The Plea of the Colonies on the Charges brought against them by Lord M——d and others (London, 1775, 1776; Philad., 1777,—Sabin, xv. 63,401-2).
Charles James Fox had been dismissed from the Tory government in 1774, and was now on the opposition side, a young and vehement debater of twenty-five (Lecky, iii. 571; Russell's Mem. and Corresp. of Fox, and his Life and Times of Fox; numerous references in Poole's Index, p. 472). On the relations of English parties to the American question, see Lecky (iii. 586); Campbell's Life of Loughborough, in his Lord Chancellors; Rockingham and his Contemporaries; Geo. W. Cooke's Hist. of Party (London, 1786-87; 1837, vol. iii.,—Sabin, iv. 16,309).
[321] Cf. Franklin's letters in his Works, and the letters to him from Quincy, Winthrop, Cooper, and Warren in Mass. Hist. Soc. Proc., vii. 118, etc.
[322] Parton, ii. 26.
[323] Cf. Parton's Franklin, ii. 41, 44; Mahon, v. 24; Niles (1876 ed.), 476, Gent. Mag., xlvii. Franklin left London in March, 1775, and on his voyage home he wrote out an account of his recent negotiations, which is printed in Sparks (vol. i.) and in Bigelow (ii. 256). There are different copies of this paper (Parton, ii. 71); and Stevens (Hist. Coll., i. p. 160 D) has an account of one given to Jefferson (Bigelow, ii. 253).
Just before leaving London, Franklin wrote some articles for the Public Advertiser on The Rise and Progress of the Difference between Great Britain and her American Colonies, which are reprinted in Sparks, iv. 526. (Cf. Ibid., v. 2, 97, and Parton, ii. 72.)
[324] Mass. Hist. Soc. Proc., viii. 85.
[325] P. O. Hutchinson's Gov. Hutchinson, i. 115, 116. Percy, writing (April 17, 1774) just before he left England, said: "I fancy severity is intended. Surely the people of Boston are not mad enough to think of opposing us. Steadiness and temper will, I hope, set things in that quarter right, and Gen. Gage is the proper man to do it." Letter to Dr. Percy (Bishop of Dromore), among the Percy MSS. in Boston Public Library.
[326] Address of the Merchants of Boston in Mass. Hist. Soc. Proc., xii. 45. A broadside list of the addressers, as taken from the London Gazetteer and New Daily Advertiser of Sept. 24, 1774, was printed in Boston. There is a copy in the library of the Mass. Hist. Society.
[327] Where he had occupied the Hooper house. Cf. Mass. Hist. Soc. Proc., xvi. 6; Evelyns in America, p. 267. There is a view of it in The Century, xxviii. p. 864. "King Hooper", as he was called, was born in 1710 and died in 1790. Cf. Perkins' Copley, p. 74, for a picture of him.
There is a portrait of Gage, now in the State House at Boston, which came to Gen. William H. Sumner through his marriage with Gage's niece, and which is engraved in Sumner's Hist. of East Boston. A contemporary engraving of Gage is reproduced in Shannon's N. Y. Manual, 1869, p. 766, and in Wheildon's Siege of Boston.
[328] Lee, in Sept., 1774, was writing of Gage: "He is now actually shut up at Boston ... and has perhaps the most able and determined men of the whole world to deal with." Chas. Lee Papers, N. Y. Hist. Soc. Coll., 1871, p. 136. Various letters of this period written from Boston are in the Evelyns in America (Oxford, 1881).
[329] This is the house still standing, belonging to James Russell Lowell. Mem. Hist. Boston, iii. 114.
[330] Loring's Hundred Orators, p. 89; Mem. Hist. Boston, iii. 62; Mass. Hist. Soc. Proc., vi. 261.
For an account of Preble, see N. E. Hist. and Gen. Reg., 1868, pp. 404, 421. He, as well as Ward and Pomeroy, had been in the French wars.
[332] P. O. Hutchinson, 293, 297. Percy was writing, October 27, 1774, from the camp in Boston: "Our affairs here are in the most critical situation imaginable. Nothing less than the total loss or conquest of the colonies must be the end of it.... We have got together a clever little army here." Percy MSS. in Boston Public Library.
[333] Percy MSS., Nov. 25, 1774: "I really begin now to think that it will come to blows at last, for they are most amazingly encouraged by our having done nothing as yet. The people here are the most artful, designing villains in the world."
[334] Mem. of Quincy, p. 216.
[335] Letters, Dec. 12 and 28, 1774. The census or estimate by congress in 1775 gave New England 800,000 souls.
[336] N. E. Hist. and Geneal. Reg., 1868, p. 337; letters of Gov. Wentworth in Ibid., 1869, p. 274; Mass. Hist. Soc. Proc., xiv. 450; Force's Am. Archives; Belknap's New Hampshire; T. C. Amory's General Sullivan, 295; N. H. Rev. Rolls, i. 31; N. H. Provincial Papers, vii. 420-423, 478; Mary P. Thompson's Mem. of Judge Eben. Thompson (Concord, N. H., 1886).
[337] E. S. Riley, Jr., in Southern Monthly, xiv, 537.
[338] Sept. 30, 1774.
[339] Gibbes' Doc. Hist. of the Amer. Rev.
[340] Thornton's Pulpit of the Rev., p. 218.
The paper which excited Patrick Henry was the "Broken Hints" of Joseph Hawley, which was first printed in Niles's Principles and Acts of the Revolution; and since in John Adams' Works, ix. p. 641.
[342] See documents in Amer. Archives; Frank Moore's Diary of the Revolution, i. 15.
[343] Frothingham's Warren, p. 416.
[344] Ibid., p. 413.
[345] P. O. Hutchinson, p. 371.
[346] Frothingham's Warren, p. 418.
[347] Gage seems to have reported to the War Office that the information was erroneous which induced him to send out this expedition. P. O. Hutchinson's Gov. Hutchinson, 432. Cf. Mass. Hist. Soc. Proc., xiv. 348.
[348] They started April 5th. Howe's record appears in A Journal kept by Mr. John Howe, while he was employed as a British Spy during the Revolutionary War; also while he was engaged in the smuggling business during the late war. (Concord, N. H., 1827.) The only copy known is in the library of the New Hampshire Hist. Soc. Extracts from it are printed in the Boston Daily Advertiser, Apr. 20, 1886.
[349] Their reports to Gage are in Force's Amer. Archives.
[350] P. O. Hutchinson, p. 397.
[351] Ibid., p. 529; Joshua Green's diary in Mass. Hist. Soc. Proc., xiv. 101.
[352] Rivington's N. Y. Gazetteer, Mar. 16, 1775, cited in Loring's Hundred Boston Orators, 60; also Moore's Diary of the Amer. Rev., i. 34.
[353] The manuscript of Warren's address is preserved in the hands of Dr. John C. Warren, and a page of it is in fac-simile in the Mem. Hist. of Boston, 143. Frothingham enumerates the editions of the printed pamphlet in his Warren, p. 436.
[354] It was printed as given "at the request of a number of the inhabitants of the town of Boston." Haven in Thomas, ii. 654.
[355] Mem. Hist. Boston, iii. 64.
[356] Niles's Principles and Acts of the Revolution (ed. of 1876), p. 277.
[357] "Much art and pains have been employed to dismay us", wrote Samuel Cooper to Franklin, Apr. 1, 1775, "or provoke us to some rash action, but hitherto the people have behaved with astonishing calmness and resolution." Mass. Hist. Soc. Proc., viii. 124.
[358] Moore's Diary of Amer. Rev., i. 57.
[359] On this same day, Percy, in Boston, was writing "Things now every day begin to grow more and more serious. The [rebels] are every day in great numbers evacuating this town, and have proposed in congress either to set it on fire and attack the troops before a reinforcement comes, or to endeavor to starve us. Which they mean to adopt time only can show." Percy MSS. in Boston Public Library.
[360] P. O. Hutchinson, pp. 428, 433.
[361] Ibid., 434, 475.
[362] Thomas's letter in the Worcester Centennial Anniversary, p. 116.
[363] They lodged in the house of the Rev. Jonas Clark, half a mile away from Lexington Common. Loring's Orators, 81. The house was built in 1698. See Hudson's Lexington. A painting of the house was owned by the late H. G. Clark, of Boston.
[364] As early as Jan. 28, instructions to Gage to apprehend the leaders of Congress had been signed. P. O. Hutchinson, p. 416.
[365] Gage had married her in 1758. She died in 1824, aged 90.
[366] Mem. Hist. Boston, iii. 70.
[367] Gen. Wm. H. Sumner (New Eng. Hist. and Geneal. Reg., viii. 188) records some recollections of the opening of the fight as narrated to him by Dorothy Quincy, later Mrs. John Hancock, who saw it begin.
[368] Hudson's Lexington, 200.
[369] The night had been chilly; but the day grew rapidly warm. The season was a month early. Cf. Geo. Dexter's note in Mass. Hist. Soc. Proc., xix. 377.
[370] John Howe was sent towards Lexington to meet and hurry Percy along. Journal of John Howe.
[371] Cf. Everett's Orations, i. p. 102.
[372] These were under the command of Col. Timothy Pickering, who was then and has been since charged with dilatoriness in coming up. Bancroft (United States) and W. V. Wells (Sam. Adams) so assert. Bancroft was controverted by Samuel Swett in a pamphlet in 1859, and Octavius Pickering, in his Life of T. Pickering (ch. 5 and App.), makes a full defence of his father.
[373] Andrews' letters (Mass. Hist. Soc. Proc., July, 1865) show the rumors which reached Gage in Boston during the day. There were some among the provincials who thought the news, when received in England, would stir up civil war (Proceedings, vol. v. p. 3); but Washington records, respecting its influence there, that it was "far from making the impression generally expected here." Sparks' Washington, iii. 43.
[374] Minutes in Mass. Archives, vol. cxv.
[375] Bancroft, orig. ed., vii. 311.
[376] Frothingham's Warren, 467.
[377] It was before long known what a reception these delegates had had in New York, and how the crowd were with difficulty prevented from taking the horses from Hancock's carriage and drawing it. N. E. Hist. and Geneal. Reg., 1865, p. 135. The journey of the delegates to Philadelphia in May, 1775, is described in the Deane Correspondence (Conn. Hist. Soc. Coll., ii. 222, etc.), and Jones (N. Y. during the Rev., i. 45) describes their reception.
[378] The papers of Quincy include a long message to the patriots, practically a report on his English mission, which he was too weak to write himself, but dictated to a sailor on the voyage. The only poetrait of Quincy is one painted after his death. This is engraved in the Mem. Hist. of Boston, vol. iii.
[379] The trouble was in part whether "effects" included merchandise as well as furniture. Mass. Hist. Soc. Proc., xiii. 58. Cf. Frothingham's Warren, p. 483. James Bowdoin, as representative of the Boston people, tried to make an arrangement on the basis of a surrender of arms, and the draft of an order in Bowdoin's handwriting, in the name of Gage, is given, with references, in Mem. Hist. Boston, iii. 76. Cf. Evacuation Memorial, p. 115. A part of the agreement with Gage was that the country Tories should be allowed to move into Boston. Among those who soon found their way into Boston, but under difficulties, were Lady Frankland and Benjamin Thompson, afterwards Count Rumford. (Evacuation Mem., 125-130. Cf. Barry's Mass., iii. 5, and references.)
[380] Whittier's "Great Ipswich Fright", in his Prose Works, ii. 112; Ipswich Antiq. Papers, iv. no. 46; Crowell's Essex (Mass.), 205.
[381] See Alexander Scammell's letter in Amory's General Sullivan, 299. New Hampshire was already sending forward her men. Hist. Mag., vii. 21.
[382] Niles's Principles and Acts (1876), p. 141.
[383] Force's Am. Archives, ii. 433-39; Beardsley's Life of W. S. Johnson, 110, 210. The Massachusetts delegates meanwhile had tarried long enough in Connecticut, on their way to Philadelphia, to confirm the patriots there, and force the halting to take a decided stand. Cf. Journals Prov. Cong., 179, 194, 196.
[384] Mass. Hist. Soc. Proc., xii. 227.
[385] Cf. account of Warner in Hist. Mag., iv. 200, and by Gen. Walter Harriman in N. E. Hist. and Geneal. Reg., 1880, p. 363.
[386] De Costa's Lake George, p. 11; Jones, N. Y. during the Rev., i. p. 550. There is an account of Bernard Romans in F. M. Ruttenber's Obstructions to the Navigation of Hudson's River, (Albany, 1860), p. 9.
[387] Various papers respecting the capture of Ticonderoga and Crown Point in the spring of 1775, and movements thereabouts, are in the Mass. Archives, including letters of John Brown, Arnold, Allen, Easton, and some of these are copied in the Sparks MSS., vol. lx. Sparks indorses on a copy of the letter of the Mass. committee at Crown Point, June 23, 1776: "By the journal of the Mass. assembly it appears that Arnold, on his way to Ticonderoga, had engaged a company of men in Stockbridge, who marched on the 10th of May, under Captain Abraham Brown, but how far is uncertain."
On the trouble between Allen and Arnold at Crown Point (May, 1775), see the Deane Correspondence. (Conn. Hist. Soc. Coll., ii. 247.)
[388] Frothingham's Siege, 106.
[389] Circulated in broadside. There is one in the Mass. Hist. Soc. Cabinet, among the Elton broadsides.
[390] Heath Papers (MS.), vol. i.
[391] Mass. Hist. Soc. Proc., xiv. 352.
[392] Grape Island, May 21: Moore's Diary of the Am. Rev., i. 84, 85; Adams' Familiar Letters, 56; Frothingham's Warren, 492, 496; New Jersey Archives, x. 606.
Noddle's Island, May 27: Frothingham's Siege, 109; Dawson's Battle, i. 47; Force's Am. Archives, ii. 719; Gordon, ii. 24; Humphrey's Putnam, 69; Tarbox's Putnam; Sumner's East Boston; N. E. Hist. and Gen. Reg., April, 1857, p. 137.
[393] Frothingham's Warren, 490 (May 16).
[394] P. O. Hutchinson's Gov. Hutchinson, 457.
[395] Thornton's Pulpit of the Revolution, p. 277.
[396] Life of Gerry, i. 79.
[397] Familiar Letters, p. 60.
[398] P. O. Hutchinson, p. 468.
[399] Issued in pursuance of Dartmouth's instructions of April 15. Sparks' Washington, iii. 510. There are copies of the broadside in the Mass. Hist. Soc. library, and in the Bostonian Society's rooms.
[400] Fonblanque's Burgoyne, 136, with the document in the Appendix. It is also in Niles's Principles and Acts (1876), p. 122. Moore, in his Diary of the Amer. Rev., i. 93, gives a sample of the fun made of it in rhyme. Cf. Wells's Sam. Adams, ii. 310.
[401] Mass. Hist. Soc. Proc., xiv. 352.
[402] E. E. Hale, One Hundred Years Ago.
[403] Cf. John Adams's account of this choice, Works, ii. 417; Familiar Letters, 65; Mass. Hist. Soc. Proc., iv. 68. Also see Sparks' Washington, i. 138, etc.; iii. 1; Barry's Mass., iii. 18, and references; Irving's Washington, i. 411. His commission and instructions are in Sparks' Washington, iii. 479.
[404] Frothingham's Warren, 512; Evacuation Memorial, p. 731; Wells's Sam. Adams, ii. 13, 17.
[405] It was torn down in the summer of 1884. See cut and note in Mem. Hist. Boston, ii. p. 108.
[406] Mem. Hist. Boston, iii. 83.
[407] The first boat to approach was struck by a three-pound shot from the redoubt. Life of Josiah Quincy, by Edmund Quincy, p. 372.
[408] Mass. Hist. Soc. Proc., xii. 69.
[409] This is Stedman's statement, but it seems at variance with the official report, which states that they took sixty-six rounds with their guns, and did not use over half. Denman's Royal Artillery, 3d ed., ii. 303.
[410] Washington, on his arrival in Cambridge, recognized the services of Col. Joseph Ward, who at this time had borne an order from General Ward across Charlestown Neck amid the cross-fire of the British batteries, by giving him a brace of pistols, now preserved; and perhaps the only written order of the battlefield now remaining is a requisition by Jos. Ward for ammunition, which is given in fac-simile in Mem. Hist. Boston, iii. 86, where are also other notes on Jos. Ward. Cf. also J. V. Cheney in Scribner's Monthly, xi. 424. Some memoranda respecting Joseph Ward are in the Sparks MSS. (LII. vol. iii.)
[411] Only one or two hundred people, out of a population of from two to three thousand, were now remaining in the town.
[412] Belknap (Papers, ii. 164) says the wind was southwest all day, and incommoded the British but not the intrenchment. There are some verses on the burning of Charlestown, attributed to Barlow. (Moore's Songs and Ballads of the Amer. Rev., 95.) For a supposed painting, see Mem. Hist. Boston, iii. 86.
[413] Fonblanque's Burgoyne, 154; C. Hudson, in Mass. Hist. Soc. Proc., Jan., 1880. He was killed by a negro. (Livermore's Historical Research, etc., p. 119.) His body was taken to Boston and buried under Christ Church. There is said to have been a blunder subsequently in taking the wrong body to England. Sargent's Dealings with the Dead, i. 54; Drake's Landmarks of Boston, 207.
[414] When Elisha Hutchinson, in London, heard of the battle, he said: "If every small hill or rising ground about Boston is to be recovered in the same way, I see no prospect of an end to the war." (P. O. Hutchinson's Governor Hutchinson, p. 506.) Belknap (Papers, published by Mass. Hist. Soc., ii. 159) says the criticism on Howe for attacking in front was general. The royalist Jones, in his New York during the Revolutionary War (i. 52), charges the British general with obstinacy in this respect. Lee (Memoirs of the War in the Southern Department, 2d ed., p. 33) traces Howe's subsequent timidity in his conduct of campaigns to the lesson this battle taught him.
[415] Their loss was 150 killed, 270 wounded, and 30 taken prisoners,—450 in all.
[416] Their loss was 224 killed and 830 wounded,—1,054 in all, of which 157 were officers.
[417] Jones (N. Y. during the Rev., i. 55, 555) is characteristic upon the double-faced spirit of New York at this time.
[418] The news of Bunker Hill reached Philadelphia in a vague way, June 22. The cannonade at Boston Neck during the battle had been magnified into a second fight going on at the same time at Dorchester Point. (Adams, Familiar Letters, 70.)
[419] Sparks, iii. 11.
[420] The provincial congress of New York assembled on the 22d of May, and it soon became evident that some violent wrenching would be necessary to unloose the grasp which the loyalists had upon it. The Johnsons, with their Indian affiliations, were strong royalists, and the leadership of the family, by the death of Sir William in July, 1774, fell to his son-in-law and nephew, Guy Johnson. The motives which actuated the one remained with the other.
[421] This elm, now going to decay, has been often pictured: Amer. Mag. (1837), iii. 432; Harper's Monthly, xxiv. 729; Gay's Pop. Hist. U. S., iii. 410; Mem. Hist. Boston, iii. 110, etc.; Von Hellwald's Amerika in Wort und Bild, i. 73.
On the 22d. of June, 1775, Hancock had written to Ward, transmitting his commission as first major-general, and next in command after Washington. He says of the new commander-in-chief, that "he takes his departure to-morrow morning from this city [Philadelphia] in order to enter upon his command. I the rather (he adds) mention the circumstance of his departure, that you may direct your movements for his reception." (Ward MSS., in Mass. Hist. Society.)
The assumption of command by Washington under this tree rests, so far as the writer knows, on tradition only, and he knows of no detail of the ceremonies given by contemporary evidence, though writers have much exercised their ingenuity in giving various attendant circumstances.
[422] Cf. Sparks's Washington, iii. 486.
[423] He held subsequent councils during the siege, at Cambridge, Aug. 3, Sept. 11, Oct. 8, Oct. 18, Jan. 16, 1776, Jan. 18, Feb. 16, and at Roxbury, Mar. 13. Copies of their proceedings are in the Sparks MSS. Minutes of Gates's speech at the council of war in Cambridge, Dec., 1775, in which he advised against an assault on Boston, are among the Gates papers (copied in Sparks MSS., xxii., and xxxix. 446).
[424] Washington complained that vessels cleared at New York with fresh provisions for the West Indies, and, when free of the harbor, steered for Boston. (N. Y. Arch., in Sparks MSS., no. xxix.)
[425] Cf. John Adams' Works, i. 245; ix. 358. See, on the Southern view of the North at this time, Life of Chief Justice Parsons, p. 40.
[426] Bancroft, orig. ed., viii. 26. Cf. John Adams's opinion, Works, ix. 362.
[427] Lee had his headquarters at one time at the Royall house, in Medford. Cf. Drake's Landmarks of Middlesex, ch. vi.; Lamb's Homes of America; Mass. Hist. Soc. Proc., xi. 334. A paper on Lee, Gates, Stephen, and Darke as generals from the Shenandoah Valley, by J. E. Cooke, is in Harper's Mag., 1858, p. 500.
[428] Cf., for the letters and comment, Niles's Principles and Acts, 1876, p. 118; Sparks's Washington, iii. 498; Moore's Diary, 108; Boston Evacuation Memorial, p. 146; Fonblanque's Burgoyne, 172. The correspondence was soon printed, as Letter from General Lee to General Burgoyne, with General Lee's answer, and the letter declining an interview (Boston, 1775). Cf. Haven, in Thomas, ii. p. 659. The letters are given in the Lee Papers (N. Y. Hist. Coll., 1871, pp. 180, 188, 222), and were translated into German and published at Braunschweig, 1777. (Sabin, iii. no. 5,259.) When Burgoyne sailed for England, Lee says, in a letter written from the camp at Winter Hill, Dec. 15, 1775: "I have written a parting letter to Burgoyne. It is in my opinion the most tolerable of my performances." Sparks MSS., xxvi.
It was Burgoyne's opinion at this time that no force which Great Britain and Ireland could supply would bring the war to a speedy conclusion; while he thought that hiring foreign troops, levying Canadians, and arming blacks and Indians, might do it. (Fonblanque, 153.) By July 3, Dartmouth had become aware that almost every colony had caught the flame, and he had deduced from Gage's letters that twenty thousand men would be required to reduce New England alone. Burgoyne soon began to chafe under Gage's inaction, and urged him to transfer the army to New York. (Fonblanque, p. 190.) He writes to the ministry about "being invested on one side and asleep on the other" (Ibid., p. 198), and says Gage is "amiable for his virtues, but not equal to the situation."
There is in the Mass. Hist. Soc. library (Misc. MSS., 1632-1795) a printed burlesque of a supposed battle of "Roxborough, July 19, 1775", which shows the drift of public satire.
[429] W. B. Reed thinks these letters on Washington's part the production of Colonel Reed. Life of Jos. Reed, i. 111.
[430] Sparks' Corresp. of the Rev., i. 12.
[431] Sullivan writes to Schuyler from Winter Hill, Aug. 5, 1775: "Our enemies fear to come out, though we endeavor in every way to aggravate them."
[432] Of the attack at Stonington, Aug. 30, 1775, see Conn. Hist. Soc. Coll., ii. 298 and references.
[433] Draper's Gazette, of Sept. 21, had intimated that there was to be some faithlessness in the patriot party. Barry's Mass., ii. 48.
[434] Being carried to Connecticut, he sunk under his confinement, and was allowed to embark for the West Indies, but the vessel on which he sailed was never heard of. For the sources and their examination, see Sparks' Washington, iii. 115, 502; John Adams's Works, ii. 414; ix. 402; Wells's Sam. Adams, ii. 51, 333; Greene's Life of Greene, i. 120; Cowell's Spirit of Seventy-Six in Rhode Island; Bancroft, vi. 409; Chandler's Criminal Trials, i. 417; Frothingham's Siege of Boston, 258; Loring's Hundred Boston Orators, 37, 40; Mem. Hist. Boston, iii. 111, 145; Mass. Hist. Soc. Proc., June, 1884, p. 15; Sparks MSS., xlix. vol. i.; N. H. Prov. Papers, vii. 622; New Jersey Archives, x. 671. An exculpatory letter of Church, dated American Hospital, Sept. 14, 1775, is among the Sullivan papers (Sparks MSS., xx.)
[435] Mass. Hist. Soc. Proc., xiv. 353.
[436] Sparks MSS. xlv. There is a list of his addressers (Oct. 6) in Curwen's Journal, p. 474.
[437] A letter from H. Jackson to John Langdon, describing the preparations (Sept. 3, 1775) is in the Sparks MSS., xlix., vol. 2.
[438] Mahon, vi. 74.
[439] Sparks's Washington, iii. 129, 145, 520; Correspondence of the Rev., i. 70, 71; Genl. Mag., 1775; Bailey's letter, in Me. Hist. So. Coll., v. 437. Washington, Oct. 24, 1775, transmits a statement (Oct 16) of Pearson Jones. (N. Y. Archives in Sparks MSS. xxix.). A letter of William Whipple, Nov. 12, 1775, to Langdon, describing the burning, is among the Langdon Papers, and a copy in the Sparks MSS. (lii. vol. ii.). There is a rude copperplate engraving of the burning town, by Norman, in the Boston ed. of the Impartial Hist. of the War (1781), vol. ii. Cf. Williamson's Maine, ii. 422; William Goold's Portland in the Past (1886), ch. 10; Willis's Portland, with plans and views; Smith and Deane's Journal of Portland; Jos. Williamson's Belfast; Barry's Mass., ii. 56; N. E. Hist. and Geneal. Reg., July, 1873, p. 256; Hist. Mag., Mar., 1869 (xv. 202); Old Times, vi. 823; N. H. Prov. Papers, vii. 633, 635. Hutchinson records (Life and Diaries, i. 583) that when the news reached London, Lord George Germain told him that "Graves had been put in mind of his remissness, and he imagined he would run to the other extreme." Cf. Mahon's England, vi. 75.
[440] Lynch, Franklin, and Harrison.
[441] Heath MSS., p. 3.
[442] Sparks's Washington, iii. 288, 297; Mass. Hist. Soc. Proc., Dec., 1877, p. 390; Mem. Hist. Boston, iii. 147 and references.
[443] Fac-simile of handbill printed to send among the royal troops to induce desertion. It follows an original in a volume of Proclamations in the library of the Mass. Hist. Society. Cf. Evacuation Memorial.
[444] P. O. Hutchinson, 123.
[445] Sparks's Washington, iii. 141; Corresp. of the Rev., i. 73; Quincy's Life of J. Quincy, Jr., 412.
[446] Sparks's Washington, iii. 113. Gage had, as early as July 14, 1775, pronounced Boston a "disadvantageous place for all operations", and expressed a preference for New York as a base of operations. The government had advised (Sept. 5, 1775) Howe to abandon the town. Before Howe, perhaps, got this, Gage wrote to Dartmouth that "the possession of Boston occasions a considerable diversion of the enemy's force; but it is open to attacks on many sides, and requires a large body to defend it." In November Howe had made up his mind that he must winter, at least, in Boston. (Mass. Hist. Soc. Proc., xiv. 353, 354, 356.) The Secretary of War, as early as Nov. 12, 1774, had urged that Boston was a place where the royal troops could do little good, and might do much harm. (Life of Barrington, 140.)
[447] Dr. Peter Oliver wrote (Nov. 27) from Boston: "The pirates, or, as the rebels term them, the privateers, have taken a Cork vessel, Captain Robbins, of this town, with provisions, and carried her into Marblehead; and a number of wood vessels from the eastward are carried into the worthless town of Plymouth." P. O. Hutchinson, i. p. 571. Again, Dec. 7, he writes: "We have eight or ten pirate vessels out between the capes; and yet our men-of-war are chiefly in the harbor." Ibid., p. 581. Admiral Graves was as inactive as Gage, and, on Dec. 30, Admiral Shuldham arrived with orders to relieve him. Percy, writing from Boston of the new admiral, says: "We wanted a more active man than the last, for really the service suffered materially during his stay." (Percy Letters, in Boston Pub. Library.) Curwen records how matters at this time were regarded in London: "Their [the rebels'] activity and success is astonishing."
[448] She reached Cambridge Dec. 11.
[449] Adams's Works, ix. 270, 369. Burgoyne was soon too distant for the implied blow. He sailed for England Dec. 5.
[450] See the rolls in the State House in Boston, and N. H. Rev. Rolls, i. 240. Cf. N. H. Prov. Papers, vii. 675-681.
[451] There is in a volume of Misc. MSS., 1632-1795, in the Mass. Hist. Soc. library, an agreement to release Andrew Richman, who had joined the regiment after the suppression of the rebellion,—signed by John Small, major of brigade.
[452] Mem. Hist. Boston, iii. 77.
[453] It will be recollected that independence had not yet been declared.
[454] Percy wrote from Boston, January 7, 1776: "I take it for granted that the next campaign will be so active and, I hope, so decisive a one, that the rebels will be glad to sue for mercy. All, however, will depend on our having a sufficient force sent us out very early in the spring.... Brig. Gen. Grant directs our commander-in-chief and all his operations. Mr. Howe is, I think, the only one here in his army who does not perceive it. I wish from my soul that we may not feel the consequences." (Percy Letters.) Hutchinson was writing in January, 1776, from London: "I count the days, and absurd as it is so near the close of life, I can hardly help wishing to sleep away the time between this and spring, that I may escape the succession of unfortunate events which I am always in fear of." (P. O. Hutchinson, vol. ii.)
[455] Sparks's Washington, iii. 223.
[456] Moore's Diary of the Rev., i. 193, 199.
[457] Sparks's Washington, iii. 230; Corresp. of the Rev., i. 106, 112; John Adams's Works, ix. 370.
[458] Lee's instructions in Sparks's Washington, iii. 230. Cf. Duer's Stirling, p. 123; Johnston's Campaign of 1776, p. 49; Jones's N. Y. during the Rev., i. 570, 593.
[459] Sparks's Corresp. of the Rev., i. 124, 135, 139; Life of Gouverneur Morris, i. 74-88. Already, on Jan. 6, 1776, the provincial congress of New York had organized a company of artillery to defend the colony and guard its records; and March 14, 1776, a student in King's College was made its captain. That organization still exists as Battery F, Fourth Regiment U. S. Artillery. (Asa Bird Gardner, in Mag. of Amer. Hist., 1881, P. 416.)
[460] Letters to and from Lee during his movements from Connecticut to Charleston (S. C.) are in the Lee Papers. (Sparks MSS., xxv., January, 1776-July, 1776, for copies, and N. Y. Hist. Coll., 1871 and 1872, for the print. There are letters from Lee during Jan.-March, 1776, from Connecticut and New York, in the Sparks MSS. xxix.) Cf. Sparks's Gouv. Morris, i. ch. 5.
[461] Works, ii. 431.
[462] Knox's instructions are in Sparks's Washington, iii. p. 160; Knox's letters from the Lake, in the Corresp. of the Rev., i. 86, 94.
Knox's diary is in the N. E. Hist. and Geneal. Reg., July, 1876, p. 321; and an inventory of the cannon, made Dec. 10, 1775, is in Drake's Soc. of Cincinnati, p. 544. Cf. Drake's Knox, pp. 22, 128, 129. A roll of men whom Knox enlisted in his artillery, 1775, is in Mass. Archives; Rev. Rolls, vol. xlix.
[463] N. Y. Archives in Sparks MSS., no. xxix. Curiously enough, Franklin was at this time urging a resort to bows and arrows. (N. Y. Hist. Soc. Coll., 1871, p. 285.)
[464] His headquarters here were in the Roxbury parsonage, a house still standing, and delineated in the Mem. Hist. Boston, iii. 115. On the 2d of March Washington gave notice to Ward, then commanding in Roxbury, of his intention. His letter in fac-simile is given in the Boston Daily Advertiser, March 17, 1876.
[465] Burgoyne had suggested the occupation of these heights by the British very soon after the battle of Bunker Hill. Fonblanque, p. 150. Clinton says (Notes on Stedman) that he had told Gage and Howe, in June, 1775, that if ever the royal army was forced to evacuate Boston, it would be owing to the rebels getting possession of Dorchester Heights. What is given in T. C. Simond's South Boston, p. 31, as "a plan of Dorchester Neck for the use of the British army", seems to be but an extract from Pelham's Map.
[466] Heath's Papers (MSS.), i. 180.
[467] See Washington's letters on the occupation of Dorchester Heights and its effect, in Sparks, iii. 302, 311. Cf. N. H. State Papers, viii. 86; Mary Cone's Life of Rufus Putnam (Cleveland, 1886) p. 45.
[468] Hutchinson says the list which reached England showed 938 souls. (P. O. Hutchinson, ii. 61.) On Nov. 20, 1775, Lieut.-Gov. Oliver wrote that there were 2,000 loyalists in Boston, men, women, and children, and that Boston had then 3,500 inhabitants, instead of the 15,000 properly belonging to it.
[469] Mem. of Josiah Quincy, Jr., 416.
[470] These before long were gone. Jones (N. Y. during the Rev., i. 54), referring to the captures after the British left Boston harbor, says: "One or two frigates stationed in the bay would have prevented all this mischief. But a fatality, a kind of absurdity, or rather stupidity, marked every action of the British commanders-in-chief during the whole of the American war."
[471] Nearly eighty armed vessels and transports were necessary to carry the army and its followers, but a large number of other vessels loaded with merchandise accompanied the fleet. Abigail Adams counted 170 sail in all, from her home in Braintree. Washington had supposed they would steer for New York, and so had warned the New York authorities as early as March 9. (N. Y. Archives, in Sparks MSS., no. xxix.) Cf. his letter to Stirling of March 14. (Duer's Stirling, p. 143.)
[472] A small number of General Ward's papers, given by Mrs. Barrell, a granddaughter, are in the cabinet of the Mass. Hist. Society. Ward resigned April 12, 1776, and Hancock's reply to him of April 26 is among these, as are also sundry papers pertaining to his retention of the command of the Eastern department after Washington went to New York. Cf. a paper on Ward in Scribner's Monthly, xi. p. 712. A letter of Ward's, April 16, 1776, describing the army's condition, is in the Mass. Archives, and is copied in the Sparks MSS., vol. lx. There is an engraving of Ward, after an original picture in Irving's Washington, illus. ed., ii. Cf. also picture in A. H. Ward's Hist. of Shrewsbury, Mass.; and Memorial Hist. of Boston, vol. iii.
[473] Mem. of Josiah Quincy, Jr., p. 417.
[474] Edmund Quincy's letter in N. E. Hist. and Gen. Reg., 1859, p. 233.
[475] For the Mugford affair, see Sparks's Corresp. of the Rev., i. 204; Moore's Diary, i. 244.
[476] Secret Journals of Congress, i. 19.
[477] John Adams understood these sectional difficulties. Works, ix. 367. Cf., on the New England distrust of Schuyler, Sparks's Washington, iii. 535. Bancroft says of Schuyler that he was "choleric and querulous, and was ill suited to control undisciplined levies of turbulent freemen." Schuyler, who was honest and uncompromisingly zealous, is defended in Lossing's Life of Schuyler, where (vol. ii. 27) Bancroft's assertion (original ed., viii. 423) that Schuyler "refused to go into Canada" is controverted on the ground that Congress declined to accept Schuyler's resignation, when ill-health prevented his leading the army. Bancroft, in his final revision (iv. 377), says of Schuyler that he owned himself unable to manage the men of Connecticut, and proposed to resign. The differences between Schuyler and Wooster have led to much championing of the two by writers of New York and Connecticut. Wooster, a man now of sixty-five years, austere in habit, could hardly be expected to commend himself to one of Schuyler's temperament. Cf. Hollister's Connecticut.
[478] Hinman's Conn. in the Rev., p. 571; Guy Johnson's despatch to Dartmouth, Oct. 12, 1775, in Canadian Antiquarian, iv. 25, 135.
[479] Moore's Diary of the Rev., i. 153, 158; Sparks's Corresp. of the Rev., i. 471; Allen's own Narrative; Lossing in Harper's Monthly, xvii. 721. Cf. Warner's letter of Sept. 27, in the Sparks MSS., xlix. vol. 2.
[480] On November 3, the colors taken at Chamblée were hung up in Mrs. Hancock's chamber at Philadelphia.
[481] Silas Deane seems to have comprehended something of the intractable quality of Wooster (Conn. Hist. Soc. Coll., ii. 288.)
[482] Parton's Burr, i. 68.
[483] Niles's Principles and Acts (1876), p. 461; Sparks's Washington, iii. 92; Henry's Journal (1877), p. 5.
[484] This rear division was under Colonel Enos.
[485] Parton's Burr, i. 71. Cf. "Burr as a Soldier", in Hist. Mag., xix. 385 (June, 1871).
[486] Burr was near by. Parton's Burr, i. 75. See the denial of the statement that Burr endeavored to carry off the body of Montgomery, in Hist. Mag., ii. 264. Cf. Lossing in Ibid., xiv. 272; and General Cullum's note in Mag. of Amer. Hist., April, 1884, p. 294. Trumbull, in his picture of the death of Montgomery (Hinton's United States, i. 233, and other places), represents Burr supporting the falling hero. Catal. of Paintings by Colonel Trumbull (N. Y., 1838), p. 14. The attack was premature. N. H. State Papers, viii. 351.
[487] Sparks's Corresp. of the Rev., i. 134.
[488] They were accompanied by the Rev. John Carroll, a Catholic priest and brother of Charles, of whom there is a Biographical Sketch by Brent.
[489] Percy got the news at Halifax in this fashion (June 1, 1776): "So precipitate was their retreat that whole companies flung away even their arms. Nay, they left their pots boiling, so that the king's troops sat down and ate their dinners from them." (Letters in Boston Public Library.)
[490] There is a likeness of Thomas, owned by Mrs. Williams, of New York, a descendant. This portrait was engraved for the illustrated edition of Irving's Washington, and is reproduced in Jones's Campaign for the Conquest of Canada, p. 52. There is a brief memoir, Life and Services of Maj.-Gen. John Thomas, compiled by Chas. Coffin (New York, 1844). In July, 1775, Thomas had been justly irritated at the irresponsible action of Congress in ranking the general officers of its appointment, and had only been prevented from resigning by Washington's urging him to pause. W. B. Reed, in his Life of Joseph Reed (i. 109), prints this appeal of Washington from the draft in Reed's handwriting.
[491] Greaton writes to Heath, July 31, 1776, from Ticonderoga: "We have got out of Canada very well considering the situation we were in; but happy would it have been for us if we had retreated three weeks sooner. We are fortifying as fast as we can; the men in very low spirits." (Heath MSS., i. 306. Cf. Adams, Familiar Letters, p. 195.)
[492] They are traced in Bancroft, orig. ed., viii. 373.
[493] Rives's Madison, i. 102.
[494] Moore's Diary of the Rev., i. p. 160; Niles, Principles and Acts (1876), p. 286; Force's Archives, iii. 1385; Geo. Livermore's Historical Research, p. 134; Rives's Madison, i. 117.
[495] Moore's Diary, i. 179. Dawson, Battles, gives contemporary reports (i. 121, 125); Maxwell's Virginia Register, vol. vi. p. 1.
[496] Moore's Diary of the Rev., i. 189. There are in the Sparks MSS., no. xxxviii., various letters in 1775 and 1776 respecting Lord Dunmore's proceeding in Norfolk, and, after Aug., 1776, in New York. A letter in Nov., 1775, shows that he had given orders to raise a regiment of savages, to be called "Lord Dunmore's own regiment of Indians." On the other hand, Arthur Lee was making interest with Vergennes in Paris, to secure ammunition for Virginia. Calendar Lee MSS., p. 7, no. 65. An Orderly book of that portion of the American Army near Williamsburg, Va., under Gen. Andrew Lewis, Mar. 18 to Aug. 28, 1776 (Richmond, 1860), with notes by C. Campbell, covers some of the patriots' movements at this time.
[497] Husband of Flora Macdonald. Cf. The Autobiography of Flora Macdonald, being the home life of a heroine, edited by her granddaughter, Edinburgh, 1870; London,1875; Bentley's Mag., xix. 325; Amer. Hist. Record, i. 109, etc.; Mrs. Ellet's Women of the Rev., ii. 142.
[498] David L. Swain published a paper on "the British invasion of North Carolina in 1776" in the University Magazine (Chapel Hill, N. C.), which was afterwards included in W. D. Cooke's Rev. Hist. of North Carolina (1853). Cf. Dawson's Battles, i. 128, with the official documents; Sparks's Corresp. of the Rev., ii. App.; Frothingham's Rise of the Republic, 502; Harper's Mag., lx. 682; Gay, Pop. Hist. U. S., iii. 465; Mrs. Ellet's Women, etc., i. 316; the Tory account in Jones's N. Y. during the Rev., i. 95; and an Address on the battle of Moore's Creek bridge, Feb. 27, 1857, by Joshua G. Wright (Wilmington, N. C., 1857).
[499] Corresp. of the Rev., i. 161; N. Y. Hist. Coll., 1871, p. 343. It seems to have been the determination in March to send him north. Adams, Familiar Letters, p. 135.
[500] Sparks's Corresp. of the Rev., i. 485, etc.
[501] Corresp. of the Rev., ii. 501. Cf. Lee Papers in N. Y. Hist. Soc. Coll., 1872, and Sparks MSS., no. xxv.
[502] Letter of W. A. Hyrne in Mass. Hist. Soc. Proc., April, 1870, p. 254; and one of Jacob Morris, June 10, noting preparations, in N. Y. Hist. Soc. Coll., 1875, p. 435. Lee had at first wished to abandon the fort. Ibid., 1872, p. 221.
[503] It was the favorable report of a reconnoitering vessel sent from Cape Fear to Charleston that induced Clinton to attack Charleston instead of joining Howe at once. P. O. Hutchinson's Governor Hutchinson, ii. 96.
[504] See an account of the effects of the fort's fire given by some Americans who had been captured at sea, and escaped. (N. Y. Hist. Coll., 1872, p. 111.)
[505] Jones (N. Y. during the Rev., i. 100), without recognizing the conditions, is very severe on Clinton for his failure to coöperate. Cf. Johnston's Observations on Jones, p. 67.
[506] McCall's Georgia, p. 393.
[507] Celebration of the Centennial Anniversary of the Battle of Bunker Hill, edited by James M. Bugbee (Boston, 1875).
[508] This was first printed in the Essex Institute Hist. Coll., i. p. 2. Cf. Ibid., xviii. 190. Gage's account to Dartmouth is in Mass. Hist. Society Proc., xiv. 348. Cf. further, Memorial Services at the Centennial Anniversary of Leslie's Expedition to Salem (Salem, 1875), including addresses by G. B. Loring and others; O. Pickering's Life of Timothy Pickering, i. ch. 4; Gay's Pop. Hist. U. S., iii. 379; F. Moore's Diary of the Rev., i. 27, etc.
[509] On Cliff Street, between Fulton Street and Maiden Lane, where several of the British troops were beaten and disarmed, but none killed, Jan. 19-20, 1770. Cf. H. B. Dawson in Historical Mag., iv. 202, 233, and (best account) xv. p. 1; Leake's Gen. Lamb, p. 57.
[510] Cf. the histories of Vermont; Hist. Mag., iii. 133; Bancroft, orig. ed., vii. 271. See further on these preliminary acts of violence, Potter's Amer. Monthly, April, 1875; Seba Smith in Godey's Mag., xxii. 257; Moore's Diary of the Amer. Rev., i. 50.
[511] General Carrington has recast his narrative in his Boston and New York, 1775 and 1776, historical papers from the Bay State Monthly (Boston, 1884).
[512] Gay, Pop. Hist. U. S., iii. ch. 16; Barry, Mass., iii. ch. 2, with notes; Mem. Hist. of Boston, iii., where the chapter on the siege is written by Edward E. Hale (cf. also his Hundred Years Ago); Paige, Hist. of Cambridge; Drake, Hist. of Roxbury; Clapp, Hist. of Dorchester; Symonds, Hist. of South Boston; Lossing, Field-Book of the Revolution, i.; A. B. Muzzey, Reminiscences and Memorials of Men of the Revolution (Boston, 1883); H. E. Scudder in Atlantic Monthly, April, 1876.
[513] By Marshall and Irving, in particular. Something may be added by the memoirs of Putnam, Heath (with also his diary as printed in Mass. Hist. Soc. Proc., May, 1859), Greene, Wilkinson, Knox, John Sullivan, John Thomas, Wm. Hull, Col. John Trumbull, with lives of such civilians as Dr. John Warren and Elbridge Gerry.
[514] Reed's letters from the camp during the summer of 1775 are in the Life of Joseph Reed, i. 116, etc., as well as those of Washington (p. 125, etc.) to Reed during the autumn and winter, after the departure of the latter. Sparks thought these letters of Washington the most imperfect he had seen, being written in great haste and confidence. Sparks printed them in part. Reed gives them at length. Washington's letters to Reed from the Cambridge camp make 20 of the 51 letters constituting the lot of his correspondence with Reed, which, having passed from Mr. William B. Reed to Mr. Menzies, was sold at the latter's sale (no. 2,051), and was again sold in the J. J. Cooke sale ($2,250) in Dec., 1883, when they passed into the Carter-Brown library. The Cooke Catalogue (pp. 340-349) describes them mainly as Mr. Reed prepared the statement, and they are commented on in the No. Am. Rev., July, 1852, p. 203, and in Irving's Washington, ii. 178. The original draft of Washington's letter to his officers, Sept. 8, 1775, asking their views respecting a boat attack on Boston, is among them (Cooke Catal., p. 342), while a fair copy in Washington's hand, as addressed to Ward, is among the Ward MSS. in the Mass. Hist. Society's library. It is printed in Sparks, iii. 80.
[515] There is necessarily much in the Mass. Archives. Cf. Mem. Hist. Boston, iii. 118.
[516] Lossing's Field-Book, vol. i.; Lossing's Schuyler, i. ch. 26; Stone's introd. to Thayer's Journal, and the references given by that editor, p. v.
[517] On the "Canada Campaign."
[518] The manuscript is in the cabinet of the Mass. Hist. Society. Cf. Worcester Mag., i. 202.
[519] The tower upon which the lanterns were hung is a matter of dispute, Revere's "North Church" being considered by some to have been the church in North Square, Boston, pulled down by the British during the siege, and by others the present Christ Church, and it is upon the latter that the tourist to-day is shown an inscription identifying that building with the event. Richard Frothingham, in a letter to the mayor of Boston, called The alarm on the night of April 18, 1775 (Boston, 1876, 2nd ed., 1877) protested against this act, and wrote in favor of the church in North Square. The other alternative was upheld by the Rev. John Lee Watson in a letter to the Boston Daily Advertiser, July 20, 1876, and this was printed separately in 1877 as Paul Revere's Signal, with remarks by Charles Deane, and in a second edition with an additional letter in 1880. (Cf. Proc. Mass. Hist. Soc., Nov., 1876.) This second letter was mainly in answer to William W. Wheildon's History of Paul Revere's Signal Lanterns (Concord, 1878), in which, while accepting the Christ Church theory, it was claimed that Robert Newman was the person who showed the lanterns, and not John Pulling, as averred by Mr. Watson (cf. note in Everett's Orations, i. p. 101). Mr. Deane had shown that, both before and after the destruction of the church in North Square, Christ Church had been called the North Church; while the earliest use of that designation for the latter building seems to have been in one of Dr. Stiles's almanacs in 1754, where he speaks of "Dr. Cutler's alias North, alias Christ Church." (Atlantic Monthly, Aug., 1884, p. 256.) E. G. Porter's Rambles in Old Boston, N. E., favors Christ Church.
Among the more general histories, the fullest account of this ride can be found in S. A. Drake's Middlesex County, i. ch. 16.
Mr. E. H. Goss printed a paper on Revere in the Mag. of Amer. Hist., Jan., 1886, p. 3, giving, among other cuts, a view of his birthplace(?) in North Square, in Boston. There is a portrait of him, with a note on other likenesses, in Mem. Hist. Boston, iii. 69. Cf. also T. W. Higginson in Harper's Monthly, Oct., 1883, and his Larger Hist. of the U. S.
[520] Boston, 1878,—one hundred copies privately printed.
[521] The entire series (twenty in number) is printed in Force's American Archives, 4th ser., ii. 490, et seq.; Shattuck's History of Concord, pp. 342, et seq.; Journal of second continental congress, pp. 79, et seq.; and portions of it are given in Frothingham's Siege of Boston, pp. 367, et seq.; Remembrancer, 1775, i. 35, et seq.; London Chronicle, June 1, 1775; also in various Boston newspapers of the time. They were also printed in a tract without imprint, Affidavits and depositions relative to the commencement of hostilities at Concord and Lexington, April 19, 1775. They were again issued by Isaiah Thomas, at Worcester, in a Narrative of the incursions and ravages of the King's troops on the nineteenth of April (Haven, in Thomas, ii. p. 661); again at Boston, in 1779 (Mass. Hist. Soc. Coll., xiv. 204). Dawson (i. 23) prints some of the depositions, and so does Hinman in his Connecticut during the Revolution, App. Governor Franklin, of New Jersey, transmitted copies to Dartmouth (N. Jersey Archives, x. 612). Lieut. E. T. Gould, of the King's Own, captured by the provincials, testified that he "could not exactly say which fired first."
[522] Sparks says (Sparks MSS., no. xxxii., vol. ii.): "In the public offices in London, I saw several papers respecting [Lexington], and particularly about the arrival of Captain Derby and the intelligence he brought. He was examined by order of the ministers, and he seems to have acted a bold part in circulating the intelligence.... In the first dispatch to General Gage he was censured for not sending the particulars immediately, and ordered to keep a packet in constant readiness."
[523] P. O. Hutchinson, 436.
[524] These depositions of the combatants, thus falling among Arthur Lee's papers, were finally separated in a strange division, by the younger R. H. Lee, who gave a part to Harvard College and a part to the University of Virginia. Cf. Calendar of the Lee MSS. in Harvard University Library, p. 6; Sparks's Washington, iii. 35.
[525] Mag. of Amer. Hist., May, 1883, vol. ix; Mahon, vi., App. p. xxvii.
[526] Mass. Hist. Soc. Proc., xiv. 343, 349; Hudson's Lexington, 249; N. E. Hist. and Geneal. Reg., 1857, p. 165.
[527] Sabin, viii 33,030. This money was later paid to Dr. Franklin, and by him, in October, to a committee of the Mass. assembly. Sparks's Franklin, iii. 134.
[528] Frothingham's Siege of Boston, 86; Sparks's Washington, iii 512. In the Mass. Hist. Soc. Proc., May, 1876 (vol. xiv, p. 349), is Percy's report to Gage, April 20, 1775, and Smith's, of April 22 (p. 350),—both from the Public Record Office. Cf. Sparks MSS., xxxii., vol. i., and the Appendix to Lord Mahon's Hist. of England, vol. vi. The government's bulletin, dated Whitehall, June 10, 1775, as printed in the London Gazette, is given in Dawson, i. 26. For the effect of the news in England, see Bancroft, orig. ed., vii. 342.
[529] One of these despatches, dated Watertown, April 19, endorsed by the officers of the towns through which it had passed, is printed in the N. E. Hist. and Geneal. Reg., Oct., 1873, p. 434. It is pointed out in Greene's Life of Nathanael Greene (i. 77), how the news affected Rhode Island. The confused statements which reached Connecticut can be seen in the Deane Correspondence in the Conn. Hist. Soc. Coll., ii. 218, and in the broadside Letter of James Lockwood and Isaac Bears, dated Wallingford, April 24, 1775, respecting the Battle near Winter Hill, in which Lord Percy was killed. The news reached New York, Sunday, April 23, and the response was sudden. Vessels loaded for Boston were seized; arsenals were taken in charge, and cannon planted at Kingsbridge (Dawson's Battles, i. 130, and his Westchester County during the Amer. Rev., Morrisania, 1886, p. 75; Bancroft, orig. ed., vii. 328; Leake's Lamb, 101; Mag. of Amer. Hist., Apr., 1882, p. 283). Governor Colden describes the effects in his despatch to Dartmouth (N. Y. Col. Docs., viii. 571). Jones, in his New York during the Rev. War (i. 39, 497), gives a curiously perverted story, saying, among other things, that the British muskets were unloaded when the Americans attacked them at Lexington, and describes the stormy meeting of the governor's council in the afternoon. From New Jersey, Governor Franklin wrote to Dartmouth May 6, and June 5 and 7. (New Jersey Archives, x. 590, 601, 642.) The tidings reached Philadelphia April 24, and the original endorsed despatch is in the Pennsylvania Hist. Soc. library. (N. E. Hist. and Geneal. Reg., 1864, p. 23; Hazard's Reg. of Penna., iii. 175, Christopher Marshall's Diary, p. 18.) In the second week in May the news reached Western Pennsylvania, and the resolutions which were passed at Hannastown were drawn by St. Clair (St. Clair Papers, i. 363). It reached Williamsburg, Va., April 29 (Moore's Diary, i. 75.) It came to Kentucky just as the settlers were founding a town, and they named it Lexington. (Winthrop's Speeches, 1878, etc., p 106.) A despatch which was written at Wallingford, Conn., April 24, embodying the reports which had reached that point, and representing that both the American commander and Lord Percy had been killed, was sent South, receiving endorsements as it passed along, and reached Charleston, S. C., May 10 6.30 p.m. It is given in R. W. Gibbs's Doc. Hist. of the Amer. Rev., pp. 82-91. (See broadside mentioned above.) A military company, the Fusiliers, was at once formed, and its roll and career are registered in the Charleston Year Book, 1885, p. 342.
For the effect of Lexington and Concord upon the other colonies, see, beside Bancroft and the other general histories, Stuart's Jonathan Trumbull; Moore's Diary, i. 77; John Dickinson's Letter in Lee's Arthur Lee, ii. 307; Lossing's Philip Schuyler, i. 307.
[530] This was reprinted in Nathaniel Low's Astronomical Diary or Almanac (Boston), 1776; in George's Cambridge Almanac, 1776 and in Stearns's North Amer. Almanac (Boston), 1776. It is substantially included with additions and abridgments in Gordon's History of the Amer. Revolution, and can be found in Force's Amer. Archives.
[531] Cf. Dawson's Battles of the United States, i.; Frank Moore's Diary of the Amer. Revolution, i. 63; Niles's Principles and Acts of the Revolution; L. Lyons's Mil. Journals of two private soldiers, 1758-1775 (Poughkeepsie, 1855), with notes by Lossing, and an App. of "official papers" (Field, Indian Bibliog., 963; Sabin, x. 42,860); a letter by John Andrews in Mass. Hist. Soc. Proc., July, 1865, p. 403; one by Dr. Foster (?) of Charleston, in Ibid. (April, 1870), xi. 306; and others by D. Greene in xiii. 57, and by Jos. Greene in xiii. 59. Cf. also letter of Jos. Thaxter in Hist. Mag., xv. 206; and one by Alex. Scammell in Ibid., xviii. 141. A significant handbill was issued at the time, with a row of coffins at the head, called Bloody Butchery by the British Troops. The narrative had before appeared in the Salem Gazette for April 21, 25, and May 5, which, with an elegy and a list of the killed and wounded, constituted this broadside as printed at Salem. It was reproduced a few years since in fac-simile. The Essex Gazette and the Worcester Spy (May 3) also contained accounts. Thaddeus Blood, of Concord, jotted down at some later period his recollections which, found among his papers, were printed in the Boston Daily Advertiser, April 20, 1886.
[532] Clark's is appended to a discourse which he delivered on the first anniversary in 1776, and this was reprinted in 1875. It was also reprinted in the Massachusetts Mag., 1794. Emerson's, which makes three pages of an interleaved almanac (which was in the possession of his grandson, Ralph Waldo Emerson, when the fac-simile was made, which is here followed, so far as the first page goes), was first printed by R. W. Emerson in his Historical Discourse in 1835 (republished in 1875), and again in the American Historical Magazine and Literary Record, New Haven, 1836. Other early anniversary sermons add little or nothing to our knowledge; such are Samuel Cooke's The violent destroyed and oppressed delivered (Lexington, 1777, but printed in Boston, 1777), and Philip Payson's sermon, also at Lexington, in 1782. Sermons were preached at Concord from 1776 to 1783; the series is in the Mass. Hist. Society's library. A sermon preached by John Langdon, at Watertown, May 31, 1775, refers to the fight. This is reprinted in J. W. Thornton's Pulpit of the Amer. Revolution.
[533] Memoirs of Maj.-Gen. William Heath, containing anecdotes, details of skirmishes, battles, and other military events during the American War, written by Himself (Boston, 1798). Accounts by those who knew the actors intimately are in Mercy Warren's Hist. of the Amer. Revolution (1805), and in James Thacher's Military Journal (1823).
[534] Works, ii. p. 406.
[535] We have brief records of other observers of the after-appearances in Dr. McClure's diary and in Madam Winthrop's letter. (Mass. Hist. Soc. Proc., 1875, vol. xiv. p. 28; 1878, vol. xvi. p. 157.)
[536] This letter is in the Trumbull MSS., iv. p. 77.
[537] Mass. Hist. Soc. Proc., xiv. 351. There are two or three copies of this broadside in the library of this society, and it is reproduced somewhat smaller in the Mem. Hist. Boston, iii. 73, and is reprinted in the Society's Collections, xii.; and in Wm. Lincoln's ed. of the Journals of the Provincial Congresses (Boston, 1838). There is in the Mass. Hist. Soc. library a printed broadside containing Governor Trumbull's letter to Gage, dated at Hartford, April 28, 1775, sent by a committee of the Connecticut assembly, and also Gage's reply of May 3, 1775, in which he characterizes his Circumstantial Account in the language quoted in the text. He also tells Trumbull that the royal troops "disclaim with indignation the barbarous outrages of which they are accused, so contrary to their known humanity. I have taken the greatest pains (he adds) to discover if any were committed, and have found examples of their tenderness both to the young and the old, but no vestige of cruelty or barbarity."
[538] This name, probably by a typographical error, appears in some of the contemporary accounts as Bernicre, and this mistake has been followed by various later writers. The pamphlet is called Instructions of 22 Feb. 1775 to Capt. Brown and Ensign de Berniere ... and an account of their doings in consequence of further orders to proceed to Concord. Also an Account of the Transactions of the British troops from their march from Boston, April 18, till their retreat back, April 19, 1775, and a return of killed and wounded (Boston, 1779, 20 pp.). There is a copy in the Boston Pub. Library. Cf. Haven in Thomas, ii. p. 658.
[539] There is also a table of casualties at Lexington, Concord, and Bunker Hill, in the Hist. of the War in America (Dublin, 1779-1785). On the provincial side there is a list of casualties (forty-nine killed, thirty-nine wounded, and five missing,—ninety-three in all) of the 19th April given in Mass. Hist. Soc. Coll., xviii.; Frothingham's Siege of Boston, 80; Dawson's Battles, etc.; Hudson's Lexington, p. 211; Everett's Orations, i. 562; Wm. Lincoln's ed. of the Journals of the Provincial Congresses (Boston, 1838). The names of the men who were on duty on that day are in what are called the Lexington alarm rolls in the State Archives (Revolutionary Rolls, vols. xi., xii., and xiii.). The histories of towns which sent companies usually print such lists, as the Hist. of Sutton, p. 783, etc. The losses of property sustained by Lexington during the day, as figured in 1780, is given in the Mass. Archives, cxxxviii. p. 410; and the Report of the Committee of the Provincial Congress on the losses along the line of march is given in Wm. Lincoln's ed. of the Journals of the Prov. Congresses (Boston, 1838). This report makes the damage done by the king's troops in Concord, £274 16s. 7d.; in Lexington, £1,716 1s.5d., and in Cambridge, £1,2O2 8s. 7d.; total, £3,193 6s. 7d. In Oct., 1775, a committee of Congress—Silas Deane, John Adams, and George Wyeth—were addressing letters to get information respecting extent of losses inflicted by the ministerial troops. One of these, addressed to Ezra Stiles, is in Letters and Papers, 1761-1776 (MSS. in Mass. Hist. Soc.).
[540] Incidental British accounts are given in Donkin's Military Collections (Mem. Hist. Boston, iii. 74); in G. D. Scull's Memoir and letters of Capt. Evelyn of the King's Own, 1774-76, Oxford, 1779, privately printed, 200 copies (Mem. Hist. Boston, iii. 56), and the later Evelyns in America, pp. 161, 263, 277, 299, 303; in Detail and Conduct of the Amer. War, p. 9; in Force's Amer. Archives.
Capt. George Harris, of the fifth regiment, lost half his company in covering the retreat, and describes his perils in a letter in S. R. Lushington's Life and Services of General Lord Harris (London, 1840). A letter from Boston, July 5, 1775, is in A view of the Evidence relative to the Conduct of the American War, 1779. Cf. Duncan's Royal Artillery, 3d ed., ii. 302.
[541] Siege of Boston, 63.
[542] Hist. of Lexington, 225.
[543] Stedman, who was not present, and most British writers, say the Americans fired first, as did Pitcairn, whose representations, as reported by Stiles in his diary, are given by Frothingham (p. 62), and by Irving (Life of Washington, i. 393). One tory, on talking with the British soldiers afterwards, was satisfied that they were the aggressors. (Mass. Hist. Soc. Proc., xiii. 60.) Hudson, in a paper on Pitcairn in Mass. Hist. Soc. Proc., xvii. 318, examines the question. (Cf. Frothingham's Warren, 488; Evelyns in America, 299, 303; Mahon's England, vi. 36.) A deposition of one Sylvanus Wood, taken in 1826, says that the stories in this country of the Americans firing first were started long after the event. Dawson (i. 22) prints this document.
[544] Reprinted in 1875 at Boston. The literary sources with interest centering in Lexington are Edward Everett's address in 1835 (Orations, i. 526), where he noted (p. 561) the survivors of Captain Parker's company taking part in the celebration; Everett's Mount Vernon Papers, no. 47; Hudson's Hist. of Lexington, ch. 6, and his Abstract (1876); Harper's Magazine, vol. xx.; R. H. Dana's Address in 1875; C. Hudson's and E. G. Porter's Proceedings at the Centennial Celebration, 1875; The Centennial Souvenir of 1775; Henry Westcott's Lexington Centennial Sermons (1875); A. B. Muzzey's Battle of Lexington (New Eng. Hist. and Geneal. Reg., Oct., 1877, and separately, 1877); E. S. Thomas's Reminiscences of the last Sixty Years, commencing with the battle of Lexington (Hartford, 1840); William D. Howells's Three Villages; Poole's Index, under "Lexington." See Mr. R. C. Winthrop's remarks on Chas. Hudson in Mass. Hist. Proc., xviii. 418; cf. also N. E. Hist. and Geneal. Reg., 1881, p. 395, and Worcester Soc. of Antiq. Proc., 1881, p. 46.
Geo. W. Curtis made the oration in 1875, and J. R. Lowell's ode is printed in Atlantic Monthly, June, 1875. The town of Concord printed in 1875 an account of its centennial celebration. Cf. Poole's Index, under "Concord."
The orations of 1875 at Concord and Lexington, with an account of the celebration, are given in the N. E. Hist. and Geneal. Reg., Oct., 1875; and there are additional particulars in the reports of the two towns for 1875-1876.
[545] This was reissued in 1832,—both editions at Concord, and the side of that town was again espoused by Lemuel Shattuck, in his History of Concord, whose views were, however, examined in the North American Review, vol. xlii. (Cf. notice of Shattuck in N. E. Hist. and Geneal. Reg., Apr., 1860.)
Among the literary sources with their interest centering in Concord may be named Edward Everett's oration in 1825 (Orations, i. p. 73); Grindall Reynolds in Unitarian Review, April, 1875, and his chapter xvii. in Drake's Middlesex County; Frederic Hudson's illustrated paper in Harper's Mag. (May, 1875).
[546] For Acton,—the Centennial Address of Josiah Adams (1835), and his Letter to Shattuck (1850); James T. Woodbury's Speech in the Massachusetts Legislature (1851) for a bill to erect a monument to Capt. Davis, killed at the North Bridge. Cf. a pamphlet by Rufus Hosmer, of Stowe (1833).
For Danvers,—D. P. King's Address on the seven young men of Danvers slain at Lexington (Salem, 1835).
For West Cambridge,—J. A. Smith's West Cambridge on the 19th of April, 1775 (Boston, 1864).
For Cambridge,—Rev. Alexander Mackenzie's address in 1870, when the bodies of some "men of Cambridge", who fell Apr. 19, 1775, were reinterred in the old burying-ground, where a monument now marks the spot.
For Bedford,—notice of the flag borne by the company from this town in the Mass. Hist. Soc. Proc., Dec., 1885, and Jan., 1886. This flag, which is still preserved, bore a device very like that made in England for the Massachusetts Three County Troop, an organization which existed from 1659 to 1690. It is probable that this flag had been used in earlier wars. (Cf. N. E. Hist. and Geneal. Reg., xxv. 138.)
Cf. also Perley's Hist. of Boxford, ch. x.; Hist. of Sutton, p. 783; S. A. Drake's Middlesex County; and Wheildon's New Chapter in the History of Concord Fight (for Groton). The Andover men did not arrive in time (Mass. Hist. Soc. Proc., xv. 254).
In 1850 all the participating towns celebrated the anniversary at Concord, when an oration by Robert Rantoul, Jr., was given, and was later printed.
In the general histories, the best account is in Bancroft's United States (final revision), iv. ch. 10; but other accounts are in Lossing's Field-Book; Gay's Pop. Hist. U. S., iii. 389; Elliott's New England, ii.; Barry's Massachusetts; E. E. Hale's One Hundred Years Ago, etc.
Dawson's Battles of the United States, vol. i ch. 1, has some essential errors, as where he says Smith proceeded "up Charles River to Phipps's farm in West Cambridge."
[547] He has abundantly fortified his narrative with authorities, though it is only the chief ones that he enumerates in chronological order in an appendix of his Siege (p. 372; also see p. 121).
[548] The substance of this volume is also found in the Mass. Hist. Soc. Proc., xiv. p. 53, etc. In the same year Mr. Frothingham condensed the story of the battle into a little volume,—The Centennial: Battle of Bunker Hill (Boston, 1875). Mr. Frothingham's enthusiasm for his subject may be easily misjudged by the unsympathetic reader. P. O. Hutchinson says of the Siege: "This would be a creditable book if it were not so overloaded with boast, tall talk, and self-glorification." (Life of Governor Hutchinson, p. 11.)
[549] This will be quoted in the following pages as "Dawson" simply; and it is a much ampler and more critical account than that in his Battles of the United States, vol. i.
[550] Bibliography of Charlestown, etc., p. 19. Taking precedence in time is that in the Boston Gazette of June 19, at this time printed at Watertown. The Massachusetts Spy (Worcester, June 21st) had the next account, and this is reprinted in Frothingham's Centennial. The Connecticut Journal printed an account the same day; and in New York a handbill was circulated, Fresh news just arrived, by an express from the provincial camp near Boston, giving an account by Capt. Elijah Hide, of Lebanon. See fac-simile in Mag. of American Hist., March, 1885, p. 282. Hide saw the battle from Winter Hill, and his account is printed by Ellis (1843), p. 142, and Dawson, p. 378. Frank Moore's Diary of the American Revolution (i. pp. 97, 102), which begins Jan. 1, 1775, gives most of these contemporary press articles, and so does Dawson. Several of these newspaper accounts were reproduced in fac-simile in 1875.
[551] This was first printed by Frothingham (Siege, etc., p. 395), and is also in Dawson, p. 390, and in his Battles, i. p. 70. A paper usually called The Prescott MS., said to have been prepared under Colonel Prescott's supervision, in part at least, abridged in Graydon's Memoirs (1846), is printed in Butler's Groton (p. 337) and in Dawson. A memoir prepared by Judge Prescott, son of the colonel, derived in part from his recollection of his father's accounts, is printed in Mass. Hist. Soc. Proc., xiv. 68, and in Frothingham's Battle-Field, p. 18.
[552] The MS. of this account is in the Am. Antiq. Society's Collections at Worcester, and was printed in Dawson, p. 381. Cf. Belknap Papers, ii. 163, 166. Frothingham (Siege, p. 385) gives Thacher's indorsement of the MS. This narrative and that of Gordon, mainly following it, were the basis of some elaborate papers in the Analectic Magazine (Feb. and March, 1818), which, however, present some important differences of view, supported by documents.
[553] It is signed by J. Palmer, and dated July 25, 1775, and was transmitted to Arthur Lee. It is printed in the Journal of the Third Prov. Congress; Analectic Magazine, May, 1818, p. 261; Force's Archives, iv. 1,373; Ellis (1843), p. 131; Frothingham's Siege, 382; Dawson, 387, and his Battles, i. p. 68. The provincial congress had already (June 20) sent an account to the Continental Congress (Ellis, p. 140; Dawson, p. 371). There are other official accounts sent to Albany and New Hampshire (Dawson, 380; N. H. Hist. Coll., ii. 143.)
[554] These may be named in an approximate chronological order thus thus:—
June 17. Dr. Holyoke saw the smoke at Salem, and wrote to his wife the reports which reached him. (Essex Inst. Hist. Coll., xiii. 212.)
June 18. David Cheever wrote from Watertown to the provincial congress of New Hampshire (N. H. Prov. Papers, vii. 521). Abigail Adams, at Braintree, wrote her impressions (having heard of Warren's death) to John Adams, in Philadelphia. She supposed the battle was then (3 P. M., June 18) still unended. She wrote farther June 25 and July 5 (Familiar Letters of John Adams and his Wife, pp. 67, 70, 72). Josiah Bartlett, at Kingston, N. H., learned the news by express, and B. Greenleaf repeated the news (N. H. Prov. Papers, vii. 520). On this day Ezra Stiles, then at Newport, made his first entry in his diary as the news came in (Dawson, 391). Loammi Baldwin's letter (Frothingham's Battle-Field, P. 43). General Greene to Governor Cooke, of R. I. (copy in Sparks MSS., vol. xlviii.).
June 19. Andrew Eliot to Isaac Smith, then in England (Ellis, 151; Dawson, 369; Mass. Hist. Soc. Proc., 1878, p. 288). Col. John Stark, from Medford to the N. H. congress (Ellis, 145; Dawson, 370; N. H. Hist. Soc. Coll., ii. 144; N. H. Prov. Papers, vii. 322-23). Job Bradford, from Hingham to Col. B. Lincoln (Rivington's N. Y. Gazetteer, Dawson, 370; N. H. Prov. Papers, vii. 523). Bradford had come out of Boston on the 18th.
June 20. Colonel Stark to the Continental Congress (Ellis, Dawson, N. H. Hist. Soc. Coll., ii.). James Warren to John Adams (Mass. Hist. Soc. Proc., xiv. 79). Letter from Providence (N. Y. Gazetteer, June 26; Dawson, 372). William Williams to the Connecticut delegates in Congress (Frothingham's Battlefield, 41).
June 21. Professor Winthrop to John Adams (Mass. Hist. Soc. Coll., xliv. 292). John Bromfield (Mass. Hist. Soc. Proc., Feb., 1870, p. 226). James Warren to Sam. Adams (Mass. Hist. Soc. Proc., xiv. 80).
June 22. Isaac Lothrop to T. Burr (Rivington's Gazetteer, June 29; Ellis, 148; Dawson, 374). Capt. John Chester (Frothingham's Siege, 389). Samuel Paine (Dawson, 440). Letter from Philadelphia (Force, iv.; Dawson, 375). Gen. N. Folsom to the N. H. Committee of Safety, from Medford (N. H. Hist. Soc. Coll., ii. 146; Dawson, 373; N. H. Prov. Papers, vii. 527).
June 23. William Tudor (Dawson, 376).
June 25. Peter Brown to his mother. Frothingham calls it the most noteworthy account by a common soldier (Frothingham's Siege, 392; Potter's Amer. Monthly, July, 1875, from the original). Dr. Geo. Brown to Maj.-Gen. Haldimand (Evelyns in America, p. 171).
June 27. Letter from camp (Force, iv.; Dawson, 379). Officer (Rivington's Gazetteer, July 6; Dawson, 380).
June 30. Isaac Smith, from Salem (Mass. Hist. Soc. Proc., xvi. 291)
July 3. Letter from camp (Dawson, 384).
July 11. Samuel B. Webb to Silas Deane, from camp at Cambridge (original MS. in Brinley, i. 1,789; printed Mass. Hist. Soc. Proc., xiv. 83).
July 12. Samuel Gray to Dyer (Frothingham's Siege, 393; Dawson, 385).
August 31. Governor Trumbull (Mass. Hist. Soc. Coll., vi. 159. Cf. Stuart's Jonathan Trumbull, ch. vi.)
There is among the Charles Lowell MSS. in the Mass. Hist. Soc. a document found with the papers of Dr. Lowell's grandfather, Judge Russell, giving a list of the houses burned in Charlestown, June 17, 1775. Thaddeus Mason's account of his losses at Charlestown is in the N. E. Hist. and Geneal. Reg., 1882, p. 397; papers on individual losses in the battle, and by the burning of Charlestown, are in Mass. Archives, cxxxviii. and cxxxix.
[555] Diaries.—Lt.-Col. Storrs, June 1-28 (Mass. Hist. Soc. Proc., xiv. 86; Frothingham's Battlefield, 34) Benj. Crufts, June 15, etc. (Essex Inst. Hist. Coll., April, 1861); Ezekiel Price, May 23, etc. (Mass. Hist. Soc. Proc., Nov., 1863, p. 185); Dr. John Warren (Frothingham's Siege: Life of Dr. John Warren); Thomas Boynton (Mass. Hist. Soc. Proc., xv. 254).
Orderly-Books.—Capt. Chester's, June 5-17 (Mass. Hist. Soc. Proc., xiv. 87; Frothingham's Battlefield, 37); Henshaw's, April-Sept. (Mass. Hist. Soc. Proc., Oct., 1876); Fenno's (Mass. Hist. Soc. Proc., Oct., 1876).
[556] References in Poole's Index, p. 1328.
[557] Charles Coffin, at Saco in 1831 and at Portland in 1835, published a History of the Battle of Bunker Hill, which was compiled from the accounts by Heath, Wilkinson, Lee, and Dearborn. Of less importance are Dr. Belknap's note-book and letters (Mass. Hist. Soc. Proc., xiv. 92, 96, etc.); Adventures of Israel R. Potter (Providence, 1824); Oliver Morsman's Hist. of Breed's, commonly called Bunker's Hill Battle (Sacketts Harbor, 1830); Col. E. Bancroft's narrative (J. B. Hill's Bicentennial of Old Dunstable, Nashua, 1878); Columbian Centinel (Dec., 1824; Jan., 1825); Needham Maynard (Boston newspaper, 1843); Timothy Dwight (Travels in New England, New Haven, 1821, vol. i. 468-476), who knew some of the actors, and who says that a member of the council of war held the day before told him that the representations of an old hunter, that it was better to fire a small number of shots well aimed than many carelessly, induced the council to order fifteen rounds to a man instead of sixty.
A large number of depositions of supposed survivors were made in 1818 and 1825, but they are held to be of no value by the critical student. There is a transcript in three folio volumes, made in William Sullivan's office, of some of the latter date, preserved in the cabinet of the Mass. Hist. Society. What purported to be some of the originals were offered for sale in New York in 1877, but were bid in. C. L. Woodward, of New York, advertised in May, 1883, nearly two hundred papers, which were called Col. Swett's Collection of Affidavits, priced at $200 (Mem. Hist. Boston, iii. 104).
[558] For instance, Rev. Wm. Gordon's Hist. of the Independence of the United States (London, 1788), vol. ii. 39, who followed closely the Committee of Safety's account; D. Ramsay's Amer. Revolution (1789), i. 201, who is criticised by Charles Thomson (N. Y. Hist. Coll., 1878, p. 216) for not allowing that military necessity justified Gage in firing Charlestown; Charles Smith's American War from 1775 to 1783 (N. Y., p. 97, also Monthly Repository, N. Y., 1796-97); Holmes' Amer. Annals (1805), ii. 231; Mercy Warren's American War (Boston, 1805), i. 217; Hubley's Amer. Revolution (1805); Lee's Mem. of the War in the Southern Department (Philad., 1812); Marshall's Washington, ii. 237. (See, for others, Hunnewell, p. 23.)
Colonel Scammans's court-martial is reported in the N. E. Chronicle, Feb. 29, 1776; Essex Gazette, Feb. 29, 1776; Dawson, p. 400.
[559] Charles Hudson availed himself of this in a pleasantry, Doubts concerning the battle of Bunker Hill (Boston, 1857), in which he paralleled Whately's famous argument for the non-existence of Napoleon. Cf. Christian Examiner, vol. xl.
[560] Hist. of the United States, orig. ed., vol. vii. ch. 38-40; and final revision, iv. ch. 14.
[561] He ceases, however, to speak of "the age and infirmities" of Ward, as Carrington indeed does, calling him "advanced in years and feeble in body", and as many of the writers have, misled perhaps by the somewhat elderly appearance of the usual portrait of him. He was in fact but forty-eight years old!
[562] Battles of the Amer. Revolution, N. Y. [copyrighted 1876], ch. 15.
[563] Gen. Carrington has contributed other papers on the battle to the Granite Monthly, vii. 290, and Bay State Monthly, May, 1884. Edward E. Hale has given accounts in his One Hundred Years Ago (ch. 4) and in a chapter in Memorial Hist. Boston, vol. iii. Dr. George E. Ellis was one of the earliest to collate carefully the sources in his Battle of Bunker Hill (1843). Barry (Massachusetts, iii. ch. 1) gives the story with care, and fortifies it by references. Irving's account (Washington, i. ch. 40, 41) is of course flowingly done.
[564] See Hollister's Connecticut, and other histories; Stuart's Life of Jonathan Trumbull; lives of Putnam; Hinman's Conn. in the Revolution; Memorial Hist. of Hartford County, ii. 473;, and H. P. Johnston on "Yale in the Revolution", in The Yale Book. The news of the battle as it reached Connecticut is remarked upon in the Silas Deane Correspondence (Conn. Hist. Soc. Coll., ii. 270, etc.).
[565] Stark's letter to the N. H. congress, of June 18, has already been mentioned. Cf. memoirs of Stark by Caleb Stark and Edward Everett; "Col. Jas. Reed at Bunker Hill", in N. H. Hist. Soc. Proc. (1876-84), p. 111; account in N. H. Adj.-General's Report, 1866, vol. ii.; the rosters of her regiments in the Adj.-General's office; N. H. Prov. Papers, vol. vii. pp. 516, 586; N. H. Rev. Rolls, i. 32-44; ii. 739; C. C. Coffin in Boston Globe, June 23, 1875; N. E. Hist. and Gen. Reg., xxvii. 377, and the account by E. H. Derby in the number for Jan., 1877. Evans' account of the service of New Hampshire troops, 1775-1782, is among the Meshech Weare papers (Letters and Papers, 1777-1824, vol. ii. p. 61, Mass. Hist. Soc.). For the part of New Hampshire towns: Hollis, N. H. Prov. Papers, vii. 601, by S. T. Worcester; N. E. Hist. and Geneal. Reg., xxvii. 377; xxx. 28; xxxi. 169; S. T. Worcester's Hist. of Hollis (1879), p. 146. Manchester, Potter's Hist. of Manchester.
[566] The connection of Putnam with the final stand at Prospect Hill naturally conveyed the impression of his commanding through the day, as he was known to have been by turns upon different parts of the field. Gen. Greene, who hurried up from Rhode Island that night, got this impression from the understanding of the case which he found prevailing in the Roxbury lines, when he wrote back the next day (June 18) to Gov. Cooke, of Rhode Island. "General Putnam", he says, "had taken post at Bunker's Hill, and flung up an entrenchment with a detachment of about three hundred" (Sparks MSS., no. xlviii. p. 67). This notion reached England, and on a print of Putnam published there Sept. 9, which is annexed, Putnam is called commander-in-chief (Mass. Hist. Soc. Proc., Nov., 1881, p. 102). An American engraving, by Roman, which appeared shortly afterwards, represents Putnam on horseback at the redoubt, as if commanding there. Col. Trumbull gave him similar prominence when he painted his well-known picture in 1786, though he is said to have regretted it at a later day. The earliest general narrative to give the command to Prescott was Gordon's, which followed closely the account of the Committee of Safety, and this was printed in 1788. The Life of Putnam by Humphreys was published in 1788, while Putnam was still living, and makes no mention of his having the command; but the Rev. Josiah Whitney, in 1790, in a note to a sermon preached upon the death of Putnam, took exception to this oversight (Stevens's Hist. Coll., i. no. 685). In 1809, Eliot, in his Biographical Dictionary, represents Prescott as commanding at the redoubt and Stark at the rail fence. When Gen. Wilkinson's Memoirs were published, in 1816 (reviewed in the N. Am. Rev., Nov., 1817), the conduct of Putnam on that day was represented in no favorable light; and Gen. Henry Dearborn, who was with Stark at the rail fence, asserted that Putnam remained inactive in the rear. It is also significant that Major Thompson Maxwell, who was with Reed's regiment at the rail fence, also asserted that Prescott commanded (Essex Inst. Hist. Coll., vol. vii.; N. E. Hist. and Geneal. Reg., Jan., 1868, p. 57). Dearborn's statement was made in a paper in the Portfolio (March, 1818), which is reprinted in the Hist. Mag., August, 1864, and June, 1868 (Dawson, p. 402). It was printed also separately at the time in Philadelphia and Boston (1818) as An Account of the Battle of Bunker Hill with De Bernière's map corrected by General Dearborn (16 pp.). Col. Daniel Putnam replied in the Portfolio (May, 1818) with numerous depositions (all reprinted by Dawson, p. 407), which was issued separately as A letter to Maj. Gen. Dearborn, repelling his unprovoked attack on the character of the late Maj. General Putnam, and containing some anecdotes relating to the Battle of Bunker Hill, not generally known (Philadelphia, 1818). Both tracts were reprinted as an Account of the Battle of Bunker's Hill, by H. Dearborn, Major-General of the United States Army; with a letter to Maj. Gen. Dearborn, repelling his unprovoked attack on the character of the late Maj.-Gen. Israel Putnam, by Daniel Putnam, Esq. (Boston: Munroe & Francis, 1818). Each document is paged separately, and the last has a separate title. Dearborn replied in the Boston Patriot (June 13, 1818), with depositions, all of which are in Dawson, p. 414. See account of Gen. Dearborn by Daniel Goodwin, Jr., in the Chicago Hist. Soc. Proc. In July, 1818, Daniel Webster, in the North Amer. Rev., vindicated Putnam, but claimed for Prescott as much of a general command during the day as any one had, which claim he held to be established by Prescott's making his report to Ward at Cambridge when it was over. (Cf. Mass. Hist. Soc. Proc., June, 1858.) John Lowell offered counter-depositions in the Columbian Centinel (July 4 and 15, 1818), again reprinted in Dawson, p. 423. In October, 1818, Col. Samuel Swett appended an Historical and Topographical Sketch of Bunker Hill Battle to a new edition of Humphrey's Life of Putnam. In the Boston Patriot, Nov. 17, 1818, D. L. Child claimed that Putnam was not in the battle, and he published separately An Enquiry into the Conduct of Gen. Putnam (Boston, 1819). In 1825, Swett enlarged his text, and published it as a History of the battle of Bunker Hill (Boston, 1825), followed by Notes to his Sketch in Dec., 1825. His history passed to a second edition as a History of the Bunker Hill Battle, with a plan. By S. Swett. Second Edition, much enlarged with new information derived from the surviving soldiers present at the celebration on the 17th June last, and notes (Boston, 1826). A third appeared in 1827. (Cf. Sparks in N. Am. Rev., vol. xxii.)
A new advocate for Putnam appeared in Alden Bradford's Particular Account of the Battle of Bunker or Breed's Hill, by a Citizen of Boston (two editions, Boston, 1825, and since reprinted); while Daniel Putnam during the same year recapitulated his views in a communication to the Bunker Hill Monument Association (Conn. Hist. Soc. Coll., vol. i.). A summary of this Putnam-Dearborn controversy is given in G. W. Warren's Hist. of the Bunker Hill Monument Association.
The dispute now remained dormant till 1841, when George E. Ellis delivered an oration at Charlestown, and then, and in his Sketches of Bunker Hill Battle, with illustrative documents (Charlestown, 1843), he presented at fuller length than had been before done the claims of Prescott to be considered the commander. This led to a criticism and rejoinder by Swett and Ellis in the Boston Daily Advertiser. See Judge Prescott's letter to Dr. Ellis in Mass. Hist. Soc. Proc. (iv. 76), and another to Col. Swett (xiv. 78. Cf. Memoir of Swett and a list of his publications in the N. E. Hist. and Geneal. Reg., 1867, p. 374). In 1843, John Fellows, in The Veil Removed; or reflections an David Humphrey's essay on the life of Israel Putnam; also, notices of Oliver W. B. Peabody's life of the same; S. Swett's sketch of Bunker Hill, etc. (New York, 1843), ranged himself among the detractors of Putnam.
In 1849, the question was again elaborately examined in Frothingham's Siege of Boston (p. 159, etc.), favoring Prescott, which produced Swett's Who was the Commander at Bunker Hill? (Boston, 1850), and Frothingham's rejoinder, The Command in the battle of Bunker Hill (Boston, 1850). Cf. also the Report to the Massachusetts Legislature on a monument to Col. Prescott (1852). In 1853, Irving favored Prescott (Washington, vol. i.). In 1855, L. Grosvenor, in an address before the descendants of Putnam, reiterated that general's claims. In 1857, Barry (Hist. of Mass., iii. 39) gave to Prescott the command in the redoubt, and to Putnam a general direction outside the redoubt. In 1858, Bancroft in his History (vol. vii.) took the view substantially held by the present writer. In 1859, Mr. A. C. Griswold, as "Selah", of the Hartford Post, had a controversy with H. B. Dawson, who exceeded others in his denunciation of Putnam, and this correspondence was printed as parts 6 and 11 of Dawson's Gleanings from the Harvest-field of American History (Morrisania, 1860-63), with the distinctive title Major General Putnam. In 1860, the Hon. H. C. Deming published an address on the occasion of the presentation of Putnam's sword to the Conn. Hist. Society.
The question of the command was again discussed at the season of the Centennial of 1875. The chief papers in favor of Putnam were by I. N. Tarbox in the N. Y. Herald (June 12 and 14), in the New Englander (April, 1876), and in his Life of Putnam; by S. A. Drake in his General Israel Putnam the Commander at Bunker Hill; by W. W. Wheildon in his letters to the N. Y. Herald (June 16 and 17) and in his New History of the battle of Bunker Hill. Gen. Charles Devens' oration in The Celebration of the Centennial Anniversary of the Battle of Bunker Hill (Boston, 1875) did not extend Prescott's command beyond the redoubt, as was done, however, in Francis J. Parker's Colonel Wm. Prescott the Commander in the Battle of Bunker's Hill (Boston, 1875), and his paper "Could General Putnam command at Bunker's Hill?" in New Eng. Hist. and Geneal. Reg. (Oct., 1877, p. 403). During this same year, Dr. George E. Ellis recast the material of his earlier book in his History of the Battle of Bunker's (Breed's) Hill (Boston, 1875, in 16mo and 8vo, the last revised).
The Centennial period produced, also, various magazine articles, the most important of which are one by H. E. Scudder in the Atlantic Monthly, July, 1875; one by Launce Poyntz in the Galaxy, July, 1875; one by Dr. Samuel Osgood in Harper's Monthly, July, 1875; and those which later constituted a brochure, One Hundred Years Ago, by Edward E. Hale.
[567] As in the accounts of Ward and Knowlton in the N. E. Hist. and Geneal. Reg., July, 1851, and Jan., 1861; the Journals of Samuel Shaw (Boston, 1847); The Female Review, being a life of Deborah Sampson, by Herman Mann (1797; also edited by J. A. Vinton in 1866); and C. W. Clarence's Biographical Sketch of the late Ralph Farnham, of Acton, Me., now in the one hundred and fifth year of his age, and the sole survivor of the glorious battle of Bunker Hill (Boston, 1860). There are other accounts of this man in the Historical Magazine, iv. 3, 12; and in the N. E. Hist. and Geneal. Reg., xvi. 183.
There is a portrait of Artemas Ward, with a memoir, in A. H. Ward's Genealogy of the Ward family, and another in the same writer's Hist. of Shrewsbury (Boston, 1847). Cf. also N. E. Hist. and Geneal. Reg., v. 271; and Mem. Hist. Boston, iii.
[568] Accounts of the present obelisk on Bunker Hill can be found in G. W. Warren's Hist. of the Bunker Hill Monument Association; Wheildon's Life of Solomon Willard; Ellis's Battle of Bunker Hill (1843); Frothingham's Siege; and in other places noted in Hunnewell's Bibliog. of Charlestown, p. 28.
[569] Winthrop's Speeches, 1878-1886, p. 253, and separately. The statue was erected by anonymous subscribers, acting through the Rev. Dr. Ellis.
[570] For anniversary memorials, see Hunnewell's Bibliog., 25, 26.
[571] See extracts and fac-simile from Waller's orderly-book in Mem. Hist. Boston, iii. 83, 84.
[572] The earliest English accounts which we have are two dated June 18, a letter of John Randon, a soldier (Lamb's Journal of Occurrences, 33; Dawson, 358), and that of an officer of rank from Boston (Force, iv.; Dawson, 357; Ellis, 115). Written on June 19, is a short letter from Brig.-Gen. Jones, colonel of the fifty-second regiment (Mass. Hist. Soc. Proc., xiv. 91; Frothingham's Battle-Field, 45). Henry Hulton, commissioner of his majesty's customs at Boston, wrote a long letter on June 20 (Emmons's Sketches of Bunker Hill Battle, 123; Dawson, 359; Ellis, 123). On the 22d, Adjutant Waller, of the Royal Marines, wrote a letter which is given in S. A. Drake's Bunker Hill, the Story told in Letters from the Battlefield. (Cf. P. H. Nicholas's Historical Record of the Royal Marine Forces, London, 1845, i. 84-89.) On the 23d we have the account of an officer on one of the king's ships (Force, iv.; Dawson, 360; Ellis, 117), and a brief letter by Dr. Grant, one of the surgeons (Dawson, 361; Ellis, 114). On the 24th, a merchant in Boston writes to his brother in Scotland (Ellis, 119).
The 25th of June must have been a letter day in Boston, in anticipation of the sailing of the despatch ship "Cerberus", for we have several letters of that date. Gage wrote then his official despatch to Lord Dartmouth, which reached London July 25, but a vessel had arrived at Waterford a week earlier (July 18), bringing rumors of the fight (P. O. Hutchinson's Governor Hutchinson, 489). The news was at once published from Whitehall (Almon's Remembrancer, 1775, p. 132; Analectic Mag., 1818, p. 260; Force, iv.; Dawson, 361, and his Battles, 65; Ellis, 94; Frothingham's Siege, 385; Moore's Ballad History, 86, etc.). Gage wrote at the same time a private letter to Dartmouth. "The number", he says, "of killed and wounded is greater than we could afford to lose, and some extraordinary good officers have been lost. The trials we have had show that the rebels are not the despicable rabble too many have supposed them to be" (London Gazette, July 25; Force, iv.; Mass. Hist. Soc. Proc., xiv. 353; Dawson, 363). Burgoyne wrote the same day (June 25) a "letter to a noble lord" (Stanley). He saw the action from Copp's Hill. We have the letter in two forms; the first in Burgoyne's letter-book, where he calls it the "substance" of the letter, and in this form it is printed by E. D. de Fonblanque in his Political and Military Episodes derived from the life and correspondence of the Right Hon. John Burgoyne, General, Statesman, Dramatist (London, 1876), p. 153. In this draft he says that the fight "establishes the ascendency of the king's troops, though opposed by more than treble numbers, assisted by every circumstance that nature and art could supply to make a situation strong." This and other paragraphs, as well as other forms of expression, do not appear in the letter as historians print it, as by Mahon (vol. vi.), for instance, who, as Fonblanque supposes, had access to the letter actually received by Stanley. In this latter form the letter appeared in London in the public prints (Sept.), and in a broadside with a plan of the battle. It came back to Boston in this shape, and was printed in Hall's New England Chronicle (Cambridge, Nov. 24), and in Edes's Boston Gazette (Watertown), and is now frequently met with (Analectic Mag., 1815, p. 264; Ellis, p. 106, with comments from a London opposition journal; N. E. Hist. and Geneal. Reg., xi. 125; Dawson, p. 363, and his Battles, p. 66; and in the Centennial publications of David Pulsifer and Samuel A. Drake). Fonblanque adds something more of Burgoyne's view in letters (pp. 147, 193) which he wrote to Lord Rochfort, without date, and to Lord George Germain (Aug. 20). In the former he said: "The defence was well conceived and obstinately maintained; the retreat was no flight; it was even covered with bravery and military skill."
Beside the Stanley letter of Burgoyne, we find also, written on June 25, two others: the first from Boston to a gentleman in Scotland (Force, iv.; Dawson, 364); the second from an officer in Boston (Force, iv.; Dawson, 365).
On the 26th, Gage wrote to the Earl of Dunmore in Virginia (Force, iv.; Dawson, 366).
On July 5th, there is a letter from an officer in Boston (Detail and Conduct of the American War, 3d ed., 1780, p. 12; Dawson, p. 367; Frothingham's Siege, 373).
A letter of Captain Harris, describing his receiving a wound and being taken from the field, is given without date in Lushington's Lord Harris (p. 54; also Dawson, 366; Drake, 37). The Bunker Hill letter is lacking in G. D. Scull's Capt. Evelyn of the King's Own (Oxford, 1879), but there is new matter in his Evelyns in America (pp. 166-171, 278).
[573] The book passed to a second edition the same year. It was privately printed in New York in 1868, and is included by S. A. Drake in his Bunker Hill, published in 1875 (Brinley, no. 1,786; Stevens, Americana, 1885, £3 3s).
[574] Particular reference may be made to the more extended accounts in Moorsom's Fifty-Second Regiment (with a plate of uniforms); Lamb's Journal of Occurrences with the Welsh Fusiliers; E. Duncan's Royal Artillery (London, 1872, i. 302); R. G. A. Levinge's Fifty-third Regiment Monmouthshire light infantry (Lond., 1868, pp. 61-64); The Case of Edward Drewe, late Major Thirty-fifth Regiment (Exeter, 1782,—see Dawson, 368).
[575] In 1793, when Stedman used the plate in his American War, he only altered the title, as Frothingham says. In 1797 it was again reëngraved, but also with changes in the title, as A plan of the action at Breed's Hill, etc., and, as then reduced by D. Martin, it constitutes the earliest American engraved plan. It appeared in C. Smith's American War from 1775 to 1783 (New York, 1797), and Hunnewell (p. 18) gives a heliotype of it. Nathaniel Dearborn, in his Boston Notions, engraved it, on a very small scale, in 1848; and the next year (1849) Frothingham reproduced it in its original state in his Siege, and pointed out that the correspondence of Montresor's survey to a recent survey of Felton and Parker inspired one with confidence in its accuracy (Mass. Hist. Soc. Proc., xiv.). It is the basis of the best plans of the action, and is reproduced also in Irving's Washington, illus. ed., ii. 467.
[576] Dearborn was at the time a captain in Stark's regiment, at the rail fence. Winthrop was on the field unattached. Dr. Dexter looked on from the Malden shore of the Mystick. Kettell was a common soldier, at first in the redoubt; then at the rail fence. Miller was at the rail fence.
[577] N. E. Hist. and Geneal. Reg., July, 1858. There is a portrait of Brooks, by Stuart, owned by Mr. Francis Brooks, of Boston. It has been engraved by A. B. Durand. Cf. Usher's ed. of Brooks' Medford (Boston, 1886.)
[578] The figures in the town denote the numbers of the wards. The letters signify,—A, Town Hall; B, Old meeting; C, the Chapel; D, Governor's house; E, Christ Church; F, Trinity Church; G, Faneuil Hall; H, Old North meeting; I, Old South meeting; L, Work-house; M, Prison. A map like it appeared in 1782 in a work of similar title to that published in Boston, but printed at Newcastle-upon-Tyne, being a second edition of one printed at London in 1779. (Cf. Henry Stevens's Hist. Coll., i. no. 435.) The whole design seems, however, to be taken from a map which appeared in London, Sept. 2, 1775, whose main title is Seat of War in New England, by an American Volunteer, with the marches of the several Corps sent by the Colonies towards Boston, with the Attack on Bunker Hill; and which has in the margin a Plan of Boston Harbor, and is also the prototype of the one in the Impartial History (Boston, 1781). Modern reproductions are also given in Wheildon's New History, F. S. Drake's Tea Leaves, and in various other of the Centennial memorials of 1875.
[579] Military Journal (Boston, 1823). Others are the following: Diary of Jeremy Belknap, Chaplain, in Life of Belknap and Mass. Hist. Soc. Proc., June, 1858. Diary of David How, ed. by H. B. Dawson (Morrisania, 1865). A journal of Solomon Nash (beginning Jan. 1, 1776) is included in the series (vol. i.) edited by C. I. Bushnell, called Crumbs for Antiquarians, 2 vols., 1862-66 (Sabin, iii. 9,538). Journal of David McCurlin, beginning at Cambridge, Aug. 9, 1775, and ending May, 1776, in Papers relating to the Maryland line, ed. by Thomas Balch (Philad., 1857). Diary of Lieut. Jonathan Burton, of Wilton, N. H., on Winter Hill, Dec., 1775, to Jan. 26, 1776, in N. H. State Papers (1885), vol. xiv., and N. H. Rev. Rolls, i. 667-689. Diary of Aaron Wright, June 29, 1775, to March 11, 1776, in Boston Transcript, April 11, 1862, and Hist. Mag., vi. 208. He was a private in a rifle company from the South. Diary of Lieut.-Col. Experience Storrs, June 13, 1775, to Feb., 1776, in Mag. of Amer. Hist., Feb., 1882, p. 124. Journal of Crafts, June 15, etc., in Essex Inst. Hist. Coll., iii. Diaries in the Hist. Mag., Oct., 1864; Aug., 1871, p. 128; March, 1874, p. 133, by Ensign Clap. Diaries in Mass. Hist. Soc. Proc., Nov., 1863 (by Ezekiel Price); Feb., 1872 (by Paul Lunt, May 10 to Dec. 23, 1775); March, 1876 (by Samuel Bixby); Sept., 1882 (by Paul Litchfield, at Cambridge and Scituate). A diary of Caleb Haskell, beginning May 5, 1775, was published at Newburyport in 1881. There are some rather vague reminiscences in Mass. Hist. Soc. Proc., xv. 390; and others in Elkanah Watson's Memoirs.
[580] In Sparks's Washington; in W. B. Reed's Life of Reed; in the Chas. Lee Papers (N. Y. Hist. Soc. Coll., 1871); in Lee's R. H. Lee (vol ii.). A letter to his brother, July 20, 1775, is in the Penna. Mag. of Hist., x. 353. His appeals for powder are in the N. H. Prov. Papers (vii. pp. 571, 572, 581), as in other places. Two letters (July 23 and Dec. 4) are in the Gen. Thomas Papers. His correspondence with Josiah Quincy about fortifying the harbor is in the Quincy Papers in the Mass. Hist. Soc. Cabinet.
John Adams tells of dining with Washington and the Caghnawaga sachems (Familiar Letters, p. 131). From near headquarters there are letters of Charles Lee (N. Y. Hist. Soc. Coll., 1871; Lee's Life of R. H. Lee, i. 281; Memoirs of Charles Lee; one of July 23 in the Gen. Thomas Papers); of Horatio Gates (N. Y. Hist. Soc. Coll., 1871; Mass. Hist. Soc. Proc., xiv. 281; several in the Thomas Papers); of Gen. Ward (many in the Thomas Papers); of Lewis Morris (N. Y. Hist. Soc. Coll., 1875, p. 433, etc.); of Joseph Trumbull (Hist. Mag., vii. 22; Hinman's Conn. in the Rev., 554); of Asa Fitch (Hist. Mag., iii. p. 6); of Samuel B. Webb (Conn. Hist. Soc. Coll., ii. 284; Sparks MSS. no. xxv.); of Thomas Brown (Trumbull MSS., iv. no. 75). Other letters of more or less interest will be found in the N. Jersey Archives, x. 606-608; in the Memoirs of General Heath; Drake's Life of Knox; Bicknell's Barrington, R. I. (p. 190); and others of Richard Devens and Richard Gridley are in the Thomas Papers. Letters of Robert Magaw, in August, are in the Mag. of West. Hist., Sept., 1886, p. 674.
[581] There are others in the Mass. Hist. Soc. Proc., xiv. p. 282 (Joseph Ward to John Adams); in Mag. of Amer. Hist., March, 1884, p. 221 (by Stephen Johnson); and by W. T. Miller, of the Rhode Island camp, in the N. E. Hist. and Geneal. Reg., 1857, p. 136.
[582] Amory's Life of Sullivan; Mass. Hist. Soc. Proc., xiv. pp. 275, 283; others from the Langdon papers are copied in the Sparks MSS. (no. lii., vol. ii.; see also Ibid., no. xxi.). There are also letters of Scammel (Hist. Mag., xviii. 129); of John Stark and others (N. H. Prov. Papers, vii. 528-29, 531, 557, 565, 581, 612, 616, 675; viii. 30; one of Aug. 23 is in the Thomas Papers); of Samuel Sweat (Mass. Hist. Soc. Proc., Dec., 1879); and some in R. A. Guild's Chaplain Smith and the Baptists (p. 166, etc.). Others from Medford are in N. H. Prov. Papers, vii. 530, 555, 565.
[583] There is a letter of Thomas Mifflin in the Thomas Papers (Aug. 26). Others of W. T. Miller in N. E. Hist. and Geneal. Reg. (1857, p. 137); and of William Thompson in the Life of George Read of Delaware (pp. 112, 128).
[584] Mass. Hist. Soc. Proc., xiv. 277, 279, 280. Various letters of Joseph Warren, James Warren, and Mercy Warren are in the Thomas Papers. A book of contracts for supplies for the army, 1776, kept at Watertown and in part in the handwriting of Elbridge Gerry, is in the Boston Public Library [H. 90 a, 7].
[585] Col. Ephraim Doolittle's, April 22 to Aug. 19, 1775; an anonymous one, Sept.-Oct., 1775; and another, written at Roxbury and Cambridge, July 29, 1775, to Jan. 12, 1776; Sergeant Isaac Nichols's, Sept. 5 to Dec. 11, 1775, and Col. William Henshaw's, Oct. 1, 1775, to March 12, 1776, and March 19-27,1776. A book of Henshaw's, preceding this one, and covering April 20 to Sept. 26, 1775, as edited by C. C. Smith, was printed in Mass. Hist. Soc. Proc., Oct., 1876, and separately with additions (Boston, 1881).
[586] In the library of the Mass. Hist. Society, and unprinted, Maj. William Lee's orderly-book (Cambridge); and, in Harvard College library, that of Jeremiah Fogg (Winter Hill), Oct. 28, 1775, to Jan. 12, 1776. In the Penna. Hist. Society is one kept at Cambridge, July 3 to Sept. 11, 1775; and another, also at Cambridge, Nov. 5, 1775, to Jan. 1, 1776, is in the Boston Public Library [H. 90 a, 9]. Two were sold in F. S. Drake's sale, Boston, Nov., 1885, nos. 1,073, 1,074: one covering Feb. 1 to March 31, 1776; the other, Nov. 5 to Dec. 31, 1775. Glover's (June 29, etc.) is printed in the Essex Inst. Hist. Coll., V. 112. That of Col. Israel Hutchinson, Cambridge and Winter Hill, Aug. 13, 1775, to July 8, 1776, is in the Mass. Hist. Soc. Proc., November, 1879. Baldwin's, Jan. 5 to March 28, 1776, is at the State House, Boston, with a large mass of rolls, commissary and other papers. Sullivan's brigade-book is in the library of the Mass. Hist. Soc. (Proc., Oct., 1884, p. 250). There are in the N. E. Hist. and Geneal. Reg., iv. 67, papers on the rank of the field-officers at Cambridge, Nov., 1775; and in Ibid., xxviii. 259, a list of the bodies of troops near Boston in 1775. The state of affairs in and about Boston in 1774-75 is cleverly sketched in Winthrop Sargent's Life of André, ch. iv.,—that young British officer being there at the time.
[587] Mem. Hist. Boston, iii. 130.
[588] Evelyns in America, 273. Some of Gage's letters, however, are preserved in the Haldimand Papers in the British Museum, and their substance is given in the Calendar of the Haldimand Papers (p. 52, etc.), published by the Canadian Archivist, Brymner, in 1884. They end, however, in March, 1775. There are letters of Gage and Howe to Dartmouth and Germaine in the Sparks MSS. (no. lviii., Part 2).
[589] Given in synopsis by Dr. Ellis in Mass. Hist. Soc. Proc., March, 1876, p. 233.
[590] Boston Evacuation Memorial, 1876.
[591] Cf. his Men and Manners in America one hundred years ago (N. Y., 1876).
[592] The liberty-tree was cut down Sept. 1, 1775 (Moore's Diary, i. 131). There is a picture of it in Mem. Hist. of Boston, iii. p. 159. The various houses occupied by the British generals are traced in Ibid., iii. 155, with references. Within our day, a cannon-ball imbedded in the tower of the Brattle Square Church has attracted attention. A ball from the American lines struck there, and was afterwards fastened in the hole it made, as a memorial. When the church was taken down, the ball was transferred to the cabinet of the Historical Society (Loring's Hundred Boston Orators, 108; Mass. Hist. Soc. Proc., xx. 189; Catal. Cab. Hist. Soc., p. 141). The house of John Hancock was rather roughly used (Mem. Hist. of Boston, iii. 155).
[593] Newell's diary in Mass. Hist. Coll., xxxi.; that of "a British officer in Boston in 1775", edited by R. H. Dana, in Atlantic Monthly, April and May, 1877. (Cf. Mass. Hist. Soc. Proc., xvi. 307.)
We have also the diaries of some American prisoners in the town: Peter Edes's, which was printed at Bangor in 1837; and John Leach's, June 29 to Oct. 4, printed in the N. E. Hist. and Geneal. Reg., July, 1865 (see also Oct., 1865). On the imprisonment of James Lovell, see Loring's Hundred Boston Orators, p. 33. Much of interest is found in the Memoir and letters of Captain W. Glanville Evelyn, from North America, 1774-1776, ed. by G. D. Scull, Oxford, privately printed, 1879. (Cf. Mass. Hist. Soc. Proc., 1879, p. 289.) The letters were reprinted in Scull's Evelyns in America (1881). Letters of Peter Oliver and others in P. O. Hutchinson's Diary and letters of Thomas Hutchinson (vol. i., 1884; vol. ii., 1886). The letters of John Andrews, in the Mass. Hist. Soc. Proc., July, 1865, are scant in the period from June, 1775, to April, 1776. The passing of news in and out of Boston is illustrated in letters, edited by W. P. Upham, printed in the Essex Institute Hist. Coll. (July, 1876), vol. xiii. 153, etc. Letters addressed to Gardiner Greene are in Mass. Hist. Soc. Proc., June, 1873. Samuel Paine, Oct., 1775, in N. E. Hist. and Geneal. Reg., July, 1876. American Hist. Record, Dec., 1872. Andrew Eliot remained for pastoral duty in the town during the siege. His letters to friends without, April, 1775, to Feb., 1776, are in Mass. Hist. Soc. Proc., xvi. 182, 288-306. Letters on the last days of the siege, in Almon's Remembrancer, iii. 106-8, quoted in the Evacuation Memorial, 175. Letters of Maj. Francis Hutcheson are in the Haldimand Papers (Calendar, p. 177).
A MS. orderly-book of Adjutant Waller is in Mass. Hist. Soc. Library. A fac-simile of the order for the attack at Bunker Hill is given from it in Mem. Hist. of Boston, iii.
The log-book of the British ship "Preston", lying in the harbor, April-Sept., 1775, is printed in the Mass. Hist. Soc. Proc., Aug., 1860.
[594] Sparks, iii. 319, 320, 330; Dawson, i. 96; Life of Jos. Reed, i. ch. 8; N. H. Prov. Papers, viii. 86.
[595] Force's Amer. Archives. A letter by Eldad Taylor, Sunday, March 18, 1776, in N. E. Hist. and Geneal. Reg., viii. 231; Edmund Quincy's, in Mass. Hist. Soc. Proc., April, 1858, p. 27, etc.; John Winthrop to John Adams, in Heath Papers, etc. (Mass. Hist. Soc. Coll.); Abigail Adams, in Familiar Letters, p. 148. See Mem. Hist. of Boston, iii., with references; and Potter's Amer. Monthly, vi. 166; and Chief Justice Oliver's diary, in P. O. Hutchinson's, Thomas Hutchinson, ii. 46.
[596] It appears from Hutchinson's Diary (ii. 44) that while Dartmouth had directed the evacuation, Lord George Germain, in coming into office, had rescinded the order, but for some reason the despatch was not forwarded.
[597] There is a description of Crean Brush in a letter from Ebenezer Hazard (Feb. 18, 1775) in the Conn. Hist. Soc. Coll., ii. 201.
[598] The royal arms carried off from the old State House are now in St. John, N. B. (Mass. Hist. Soc. Proc., xx. 231).
[599] Edmund Quincy wrote at the time: "The tories, they say, have been equal plunderers with the military." N. E. Hist. and Geneal. Reg., 1859, p. 231. Washington wrote to Lee, "The destruction of the stores at Dunbar's camp, after Braddock's defeat, was but a faint image of what was seen in Boston" (N. Y. Hist. Soc. Coll., 1872, p. 32). For the contributions of the Friends of Philadelphia to the poor of Boston, see the Penna. Mag. of Hist., i. 168.
[600] Sparks's Corresp. of the Rev., i. 191, 200. There is an orderly-book of Colonel Francis's regiment, at Dorchester Point, Aug.-Dec., 1776, among the Moses Greenleaf MSS. (Mass. Hist. Soc.) Various castle and harbor rolls, seacoast defence rolls, etc., are in the Mass. Archives; Rev. Rolls, vols. xxv., xxxvi., xxxvii.
[601] Similar letters are in John Adams's Works, ix. 381, etc. Abigail Adams constantly informed her husband of the condition of affairs (Familiar Letters, 78, 85, 91, 111, 124, 129, 137, 138, 141, 156). There is a diary of Chief Justice Oliver at Halifax, after the refugees had reached there, in P. O. Hutchinson's Hutchinson, ii. 50.
[602] It was not procured from Paris till four years after the peace (Colonel Humphrey's letter, Nov., 1787, in Amer. Museum, ii. 493). John Adams (Familiar Letters, 210) describes a device proposed for it, as early as 1776. It was purchased for the city of Boston in 1876, and is now preserved in the Boston Public Library. Its history is given in the Boston Evacuation Memorial. It has been described and delineated, obverse and reverse, several times, as in Sparks's Washington, i. 174, iii. 356; in Frothingham's Siege (cover); Mem. Hist. of Boston, iii. 100; Amer. Journal of Numismatics (July, 1880), xv. 1, 38; Snowden's Medals of Washington; Loubat's Medallic Hist. of the United States; Nat. Port. Gallery (N. Y. 1834); Johnston's Orig. portraits of Washington, p. 235; Guizot's Atlas to his Washington. Baker (Medallic Portraits of Washington, p. 27) says the artist made in it the earliest use of Houdon's bust. See Washington's letter in Force's Archives, v. 977. On one side are the words "Hostibus primo fugatis", and Mahon (vi. 85) seizes upon them to show that they plainly renounce all "the idle vaunts of Lexington", that the British had there fled.
[603] There is a reduction of this issue in the Mem. Hist. of Boston, iii. p. lv.
[604] It is reproduced in Wheildon's Siege, etc., of Boston; in Moore's Ballad History, etc.
[605] Reproduced by Wheildon (p. 32).
[606] This is reproduced in the Mem. Hist. of Boston, vol. iii.
[607] Like those in Marshall's Washington (1806); in Sparks's Washington (iii. 26, also in the Boston Evacuation Memorial, 1875); in Frothingham's Siege (1849), p. 91; and in Carrington's Battles, p. 154,—to say nothing of those in Guizot's Washington, Lossing's Field-Book (p. 154), Gay's Pop. Hist. U. S. (iii. 427), etc.
[608] This is reprinted in Frothingham's Siege (p. 409).
[609] There is among the Washington plans a plan of the works on Winter Hill. Cf. Sparks's Catal., p. 207. It is not at Cornell. It is understood that nos. 1-11 of this set of plans, as per catalogue, were not sent to the Cornell University library. They do not appear to be among the Sparks MSS. in Harvard College library. This aspect of the siege of Boston is particularly studied in Lossing's Field-Book of the Revolution (also in Harper's Monthly, vol. i.), and in S. A. Drake's Landmarks of Middlesex, and County of Middlesex (ch. 19). There are photographs of this sheet in the Boston Public Library, the Mass. Hist. Soc. library, and in the State Library of Massachusetts. Cf. map of Boston, 1750-1773, in Brit. Mus. MSS., 21,686, fol. 70, in the Index to Brit. Mus. MSS. (1880).
[610] The whole map was reëngraved and published at Augsburg by T. C. Lotter, and the plan of the town was reproduced in Boston in 1875 by A. O. Crane. The whole map was reëngraved in Paris (1777) by Le Rouge, and makes part of the Atlas Ameriquain (1778).
[611] It is reduced in the Mem. Hist. of Boston, iii. (Cf. Mass. Hist. Soc. Proc., May, 1860.)
[612] It has been reproduced in the Mass. Hist. Soc. Proc., vol. xvii.
[613] Sabine's Amer. Loyalists, i. 537.
[614] Cf. Boston Harbor, [with] nautical remarks and observations by G. Callendar, London, 1775. Brit. Mus. Maps (1885), col. 491.
[615] Cf. the Rawdon map in Harper's Mag., xlvii. 20.
[616] There are photographs of it in the Mass. Hist. Soc. Library, Boston Public Library, and State Library. Brit. Mus. Map Catal., 1885, col. 493.
[617] Belknap Papers, ii. 115; Mass. Hist. Soc Proc., xix. 93, 94. A tracing is given in the Boston Evacuation Memorial (1876), and it is reduced, but not in fac-simile, in Frank Moore's Diary of the Revolution, i. p. 213, and given in reduced fac-simile in S. A. Drake's Old Landmarks of Middlesex, and in the Mem. Hist. of Boston (vol. iii.; introduction).
[618] These Faden maps are numbered, for the finished and rough drafts in E. E. Hale's Catal. of the Faden Maps, nos. 32-36, and include one by Lieutenant Hill, of the Welsh Fusileers.
[619] Frothingham reproduces it in his Siege, and it is reduced in the Mem. Hist. of Boston, vol. iii., introduction.
[620] Brit. Mus. Map Catal., 1885, col. 493.
[621] A reproduction of the harbor map was issued in Boston by W. P. Parrott, in 1851. It is also reproduced as no. 5 in the Neptune Americo-Septentrional, 1780.
[622] Dr. Thomas A. Emmet, of New York, owns several interesting, graphic memorials of the seat of war round Boston, one of which, a Map of Boston and vicinity, made during the British occupancy, is given by Benson J. Lossing in Harper's Magazine, July, 1873.
[623] Labanoff Catalogue, no. 1,576; copy in Amer. Geog. Soc. library.
[624] There are photographs of it in the Boston Public Library, Mass. State Library, and Mass. Hist. Society library.
[625] Cf. his letter to the provincial congress of Massachusetts in their journals, and various letters from him in the Trumbull Papers, vol. iv.
[626] Dr. Trumbull also stated the Connecticut case in the Hartford Daily Courant, Jan. 9, 1869, likewise printed separately. Cf. further Hollister's Connecticut, ii. ch. 7; Hinman's Connecticut in the Revolution, p. 29.
[627] Holland's Western Mass.; Barry's Mass.; Smith's Pittsfield; letters of Thomas Allen, May 4 and 9, 1775, in Hist. Mag., i. p. 109, etc.
[628] The original edition, A narrative of Col. Ethan Allen's Captivity, Sept. 25, 1775, to May 6, 1778, containing his voyages and travels, with the most remarkable occurrences respecting himself, ... particularly the destruction of the prisoners at New York by Gen. Sir William Howe, in 1776 and 1777. Written by himself (Philad., 1779), was reprinted the same year in Philad., and also in Boston; again at Newbury, for publication in Boston, 1780; at Norwich in 1780; at Philadelphia in 1799; in the Appendix of the second volume of Ira Allen's Particulars of the Capture of the ship Olive Branch, etc. (Philad., 1805); with notes, at Walpole, N. H., 1807 (Stevens, Hist. Coll., ii. no. 6); at Albany, 1814; at Burlington, 1838; as Ethan Allen's Captivity, being a Narrative, etc. (Boston, 1845); as A Narrative of Col. Ethan Allen's Captivity (Burlington, 1846, and, with slightly changed title, in 1849); as Ethan Allen's Narrative of the Capture of Ticonderoga and of his Captivity, etc. (Burlington, 1849); as Narrative of the Captivity, etc. (Dayton, 1849). Cf. Sabin, i. 793-800, 821. Allen's letter (May 11th) to the Massachusetts Congress is in Dawson's Battles, i. 38; and another (May 10th) to Seth Warner is in the Mag. of Am. Hist., 1885, p. 319. Various letters of Ethan Allen at this time are among the Trumbull Papers (vol. iv.): to the Conn. Assembly, from Crown Point, May 26, 1775, covering a copy of his letter to the Indians (p. 96); to Governor Trumbull, July 6th and Aug. 3d. His letter from Crown Point, June 2d, to the N. Y. Congress, is in Sparks's Gouverneur Morris, i. p. 54. Cf. Lives of Allen by Sparks and by Hugh Moore; De Puy's Ethan Allen and the Green Mountain heroes; Williams's Vermont. Dr. De Costa having, in the Galaxy, Dec., 1868 (also in his Fort George, p. 10), disputed Allen's claim to the sole credit of the surprise, he was answered by Hiland Hall in a pamphlet, The Capture of Ticonderoga (Montpelier, 1869; also in the Vermont Hist. Soc. Proc., Oct. 19, 1869). Cf. Ira Allen's Vermont; Goodhue's Shoreham, Vt.
[629] Cf. Lives of Arnold by Sparks and by Isaac N. Arnold (ch. 2). The regimental memorandum-book of Benedict Arnold, written while at Ticonderoga and Crown Point, is printed in the Penna. Mag. of History (Dec., 1884), viii. 363, and separately. It begins May 10th and ends June 24th, and is published from a copy made by W. H. B. Thomas before the original was lost. The Sparks MSS. (lii. vol. ii. p. 27) contain letters from Arnold between 1775 and 1780, beginning with a letter from Crown Point, May 23, 1775, and ending with a letter dated at Philadelphia, July 17, 1780, to Governor Huntington. There is a letter of Arnold from Crown Point, June 13, 1775, in the Trumbull Papers (vol. iv. p. 111). Arnold was accused of countenancing the robbery of Skene's house a few days before the capture, and some papers in his defence are given in Stevens's Bibliotheca Historica (1870), no. 96. The original list of trophies of Ticonderoga, in Arnold's handwriting, is in Dr. T. A. Emmet's Collection (Carrington's Battles). Cf. "Who took Ticonderoga?" in Hist. Mag., vol. xv. (Feb., 1869) p. 126. Arnold's appointment of May 3d, and his report of May 14th, are given from the original documents in the possession of Jonathan Edwards, of N. Y., in Jones's N. Y. during the Rev., i. pp. 546-7.
[630] Jones (p. 49) sets forth the tergiversations of Duane and other New Yorkers (who had assisted a few months before in proclaiming Allen an outlaw) as soon as the capture of Ticonderoga had made him the hero of the hour. Depositions and other documents in the Doc. Hist. N. Y., iv., touch the riotous proceedings of Allen, which had caused a price to be set on his head by the New York authorities. Cf. also Jones, N. Y. during the Rev., i. note xx.
[631] Cf. also Schuyler's letters in Sparks's Correspondence of the Amer. Revolution and Lossing's Life of Schuyler, i. 310. Lossing also deals with the subject in his Field-Book of the Revolution, and in Harper's Monthly, vol. xvii. p. 721. Chas. Carroll (Journal to Canada, 1876, p. 75) describes the ruinous condition of Ticonderoga a year later. Reference may be made to Sparks's Gouverneur Morris (vol. i. ch. 4), and to the general historians: Bancroft (orig. ed., vii. 338); Gay's Pop. Hist. U. S. (iii. ch. 17); Irving's Washington (i. 404); and local histories, like Watson's Essex County (ch. 9); Palmer's Lake Champlain; Holden's Queensbury (p. 405); Bourne's Wells and Kennebunk, Me.; Van Rensselaer's Essays; Poole's Index, etc. A letter of Joseph Warren congratulating Connecticut on the event is in Frothingham's Warren, p. 490. Another letter of Joseph Warren (Watertown, May 17, 1775) to John Scollay, being captured by Gage, gave the British general the first intimation of the fall of Ticonderoga (Sparks, MSS., xxxii.). Governor Franklin communicates a diary at Ticonderoga, May 11-19, to Dartmouth (N. Jersey Archives, x. 608). Respecting the condition of Ticonderoga after the capture, see Eliphalet Dyer's letter, May 31, 1775, in Hist. Mag., vii. 22; and the letters of Governor Trumbull and the Connecticut committee to the New Hampshire authorities, in the N. H. Prov. Papers, vii. 489-501.
[632] Sparks caused copies to be made of some of the most important parts, which are in the Sparks MSS., no. lx.
[633] The orderly-book of Sergeant Aaron Barlow, under Montgomery, June 2 to Dec. 6, 1775, was preserved in 1848, when a copy was made for the New York Historical Society (Proc., 1849, p. 279).
[634] Dawson, i. p. 116, who points out some errors in Leake's Life of Lamb (p. 374), or 4 American Archives, iii. p. 1343. Cf. Lossing's Schuyler, i. 444; Sargent's Major André, p. 79; Alex. Scammel's letter in Hist. Mag., xviii. 136; accounts in Gen. John Lacy's papers in the N. Y. State Library; Samuel Mott's letters in the Trumbull Papers (iv. p. 174); and others of Timothy Bedel in N. H. Prov. Papers, vii. 637, 670. There are in the Archives at Ottawa a Mémoire of Amable Berthelot, of Quebec, on the war of 1775; a journal at Three Rivers, May 18, 1775, etc.; and a journal of the siege of St. John, 1775 (Brymner's Report on the Canadian Archives, 1881, p. 46). These are printed in Verreau's Invasion du Canada (Montreal, 1873). Carroll (Journal to Canada, 1876, p. 89), describing the works at St. John, says they were not injured by Montgomery's siege of them. There is a view of the works in Lossing's Field-Book, i. 172.
[635] Dawson, i. p. 115, etc.
[636] Sparks's Corresp. of the Rev., i. 477. Montgomery's letter to the inhabitants is given in fac-simile in 4 Force's Archives, iii. 1596, and his demand for its surrender, Ibid., v. 312. The articles of capitulation were printed in broadside. Sabin, xii. p. 314. Copies of Montgomery's letters are in the Sparks MSS. (lii. vol. ii.). Lareau, Littérature Canadienne, p. 240, says that L'Abbé Perrault intended a book, Le Siège de Montreal en 1775. See various documents in Verreau's Invasion du Canada.
[637] Dennie's Portfolio, xx. 75. A paper by Louise L. Hunt in Harper's Monthly, vol. lxx. (Feb., 1885), in which the story of the preservation of Montgomery's sword is told. Cf. Living Age, no. 1,017, p. 428; Biog. Notes concerning Richard Montgomery, by L. L. Hunt (1876); A Sketch of Montgomery (1876), by General Geo. W. Cullum, and an article by him in the Mag. of Amer. Hist., April, 1884, with interesting illustrations, including (p. 277) a view of Montgomery Place, on the Hudson, which was building at the time of his death, and was afterwards the home of his widow. There are other views of this well-known estate in Lamb's Homes of America, Harper's Mag., lxx. 354, etc. General Cullum's paper has also a fac-simile of a letter sent by Montgomery to Colonel Bedel, Oct. 2, 1775. For the ancestry of Montgomery, see N. Y. Geneal. and Biog. Record, July, 1871, p. 123. The memory of Montgomery suffered for a long time in Canada from the belief that he was the officer of that name who was charged with atrocities during the siege of Quebec in 1759 (Quebec Lit. and Hist. Soc. Trans., 1870-71, p. 63).
On his death and burial, see, beside the usual accounts, a paper among the Belknap papers in Mass. Hist. Soc. library (Proc., x. 323), called "A true account of Gen. Montgomery's death and burial at Quebec" (cf. Mass. Hist. Soc. Coll., i. p. 111), Life of Geo. Read, p. 140; Hilliard d'Auberteuil's Essais, with a stately picture of his funeral; Niles's Register, xiv. 371; Sparks's Washington, iii. 264, on the identification and burial of his remains; a picture of the house to which his body was carried in Grant's Picturesque Canada (Toronto, 1882, vol. i. p. 28); the final removal of his remains to New York, when his widow, forty-three years after his death, watched the barge which bore them as it slowly floated down the Hudson in front of Montgomery Place (Dennie's Portfolio, xxi. 134; Harper's Mag., lxx. 357; Quebec Lit. and Hist. Soc. Trans., 1870-71, p. 63; Dr. W. J. Anderson's paper was reprinted in Hist. Mag., xiii. 97); and a paper on the hundredth anniversary of his death in the New Dominion Monthly (Montreal), xvii. 397.
The tributes of Congress to Montgomery are recorded in the Journals of Congress, i. 247. Public services took place before that body Feb. 19, 1776, when an address was delivered which was published as An Oration in Memory of General Montgomery, and of the Officers and Soldiers who fell with him, December 31, 1775, before Quebec; drawn up (and delivered February 19th, 1776). At the Desire of the Honorable Continental Congress. By William Smith, D. D., Provost of the College and Academy of Philadelphia (Phila., 1776) It was reprinted in Norwich, Conn., and in London twice in the same year.
Franklin was commissioned to procure in France a monument to Montgomery's memory. One was finally erected in Trinity Church in New York (Mag. of Amer. Hist., April, 1884, p. 297; Harper's Mag., Nov., 1876, p. 876; Penna. Mag. of Hist., iii. 473).
Of some interest are a contemporary tragedy by H. H. Brackenridge, The Death of Montgomery (Norwich and Providence), with an engraving of the death scene by Norman (Sabin, ii. no. 7,185; Sparks' Catal., no. 337); and Thomas Paine's A Dialogue between the ghost of general Montgomery just arrived from the Elysian fields; and an American delegate, in a wood near Philadelphia. [Anon.] [Phila.], 1776. N. Y.; privately reprinted, 100 copies, 1865.
[638] Printed in the Maine Hist. Soc. Coll. (i. 343), at Portland, in 1831; Sabin, xii. 50,221. Cf. N. Y. Hist. Soc. Coll., 1881, p. 117, for an account of the Montresors, father and son, and G. D. Scull's Mem. and letters of Capt. W. G. Evelyn (1879), enlarged as The Evelyns in America (1881). Cf. also N. E. Hist. and Geneal. Reg., Jan., 1882, p. 104.
[639] Catal. of King's Maps, Brit. Mus., i. 608. Cf. also the Map of New Hampshire, by Col. Joseph Blanchard and Rev. Samuel Langdon, engraved in Jefferys, dated Oct. 21, 1761.
[640] Lossing's Field-Book, i. 193.
[641] Lives of Arnold, by Sparks (ch. 3 and 4) and Isaac N. Arnold (ch. 3); Irving's Washington (ii. ch. 5 and 8); Graham's Morgan (ch. 4); Lossing's Schuyler (i. ch. 26); B. Cowell's Spirit of Seventy-Six in Rhode Island; North's Hist. of Augusta; Gay's Pop. Hist. U. S., iii. 441; a paper by William Howard Mills, describing the route, in Mag. of Amer. Hist. (Feb., 1885), xiii. 143; and William Allen's "Account of Arnold's Expedition" in the Maine Hist. Soc. Coll., vol. i. p. 387, derived mainly from the journals of Meigs and Henry.
The conduct of Enos in deserting Arnold has been extenuated in General Roger Enos—a lost Chapter of Arnold's Expedition to Canada, 1775, by Horace Edwin Hayden (1885), reprinted from Mag. of Amer. Hist. (May, 1885). The papers of the court-martial which acquitted Enos are in the State Department at Washington, and have been printed by Force and Allen, and also in Henry's Journal (ed. of 1877), p. 59.
[642] Described by G. T. Packard in the N. Y. Independent, 1881. Cf. Good Literature, 1881, p. 239.
[643] Dawson (i. 118) also gives his Quebec despatch of Dec. 31, 1775. Sparks preserved copies of various of Arnold's letters in the Sparks MSS. (lii. vol. ii.); and in Ibid. (no. lvii. 10) are letters of Arnold on his early trading visits to Quebec, when he acquired a knowledge of the region.
[644] Journal of the march of a party of Provincials from Carlyle to Boston and from thence to Quebec, begun the 13th of July and ended the 31st of Dec., 1775. To which is added an account of the Attack and Engagement at Quebec, the 31st of Dec., 1775 (Glasgow, 1775, pp. 36). It is, says Sabin (ix. no. 36,728), the journal of a company of riflemen under Captains William Hendricks and John Chambers, and it was sent from Quebec to Glasgow by a gentleman who appended the "account."
Henry Dearborn's is in the Boston Public Library, and is called Journal of the proceedings, and particular occurrences, which happened, within my knowledge, to the troops under the command of Benedict Arnold, in 1775, which troops were detached from the American army lying before Boston for the purpose of marching to, and taking possession of Quebec. [From Sept. 10th, 1775, to July 16th, 1776.] It has been printed by Mellen Chamberlain in Mass. Hist. Soc. Proc., April, 1886, and separately.
Caleb Haskell's diary, May 5, 1775, to May 30, 1776,—a revolutionary soldier's record before Boston and with Arnold's expedition (Newburyport, 1881, 8vo, pp. 23). It is edited by L. Withington. Haskell belonged to Ward's company.
John Joseph Henry's Accurate and interesting account of the hardships and sufferings of that band of heroes, who traversed the wilderness in the Campaign against Quebec in 1775 (Lancaster, Pa., 1812). Campaign against Quebec, being an accurate, etc. (Watertown, N. Y., 1844). Account of Arnold's Campaign against Quebec, and of the hardships, etc. (Albany, 1877). This last edition has a memoir of Judge Henry by his grandson, Aubrey H. Smith. (Cf. Brinley, ii. no. 4,026; Murphy, no. 1,192.) Mr. Smith says that the Account was dictated by Henry to his daughter in his latest years, with the aid of casual notes and memoranda, and was published without any revision and proper press-reading. (Cf. Sabin, viii. 31,400-1.)
Lieut. William Heth's journal is referred to in Marshall's Washington, i. pp. 53, 57, and is still preserved in Richmond, Va.
A journal of Sergeant McCoy, of Hendricks's company, is referred to by Henry in his Account.
Major Return J. Meigs's Journal of the expedition against Quebec under Col. Benedict Arnold in the year 1775. (Cf. Almon's Remembrancer, Part ii., 1776, p. 294.) This is in vol. i. of Chas. I. Bushnell's Crumbs for Antiquarians (New York, 1859). This series is recorded in Sabin, iii. no. 9,538; Boon Catal., p. 591. The journal is also in the Mass. Hist. Soc. Coll., xii., and notices of Meigs are in Jones's N. Y. during the Rev. War, i. 180, 668, and in the Mag. of Amer. Hist., April, 1880, iv. 283 (with a portrait taken in his later years), by H. P. Johnston. There is also a life of Meigs in John W. Campbell's Biographical Sketches (Columbus, O., 1838). There appeared at Cincinnati in 1852 Biographical and Historical Memoirs of the early Pioneer settlers of Ohio, with narratives of incidents and occurrences in 1775, by S. P. Hildreth, M. D., to which is annexed a journal of occurrences which happened in the circles of the author's personal observation in the detachment commanded by Colonel Benedict Arnold, consisting of two battalions of the United States Army at Cambridge in 1775. By Colonel R. J. Meigs. The Meigs journal thus called for in the title was never included in the book (Field, Ind. Bibliog.; Thomson's Bibliog. of Ohio, no. 551).
J. Melvin's Journal of the Expedition to Quebec in the year 1775, under the command of Col. B. Arnold. In the "Publications of The Club", New York, 1857 (100 copies). The introduction is signed with the initials of William J. Davis. The Club was a preliminary organization which became the Bradford Club. The journal was also printed in a small edition by the Franklin Club, in Philadelphia, in 1864 (Alofsen, Catalogue, nos. 12, 13). Melvin was attached to Dearborn's company.
John Peirce's journal of daily occurrences, Sept. 8, 1775, to Jan. 16, 1776, is that of an engineer with the pioneers. It is defective at the beginning and end, and has not been printed. Stone refers to it.
Journal of Isaac Senter, Physician and Surgeon to the Troops on a Secret Expedition against Quebec, under command of Col. Benedict Arnold, in Sept., 1775 (Phila., 1846). This journal, which begins at Cambridge, Sept. 13, 1775, and ends at Quebec Jan. 6, 1776, made part of the Bulletin, vol. i., of the Penna. Hist. Society. There is an account of Senter, with extracts from his journal, in Stone's Invasion of Canada in 1775, p. 65.
The Diary of Ephraim Squier, Sept. 7 to Nov. 25, 1775, preserved in the Pension Office in Washington, is printed in the Mag. of Amer. Hist., ii. 685.
Capt. John Topham's Journal of the expedition to Quebec through the wilderness of Maine in Sept., Oct., and Nov., 1775. Stone reports it as being in the hands of David King, of Newport, as not published, and not being legible before the date of Oct. 6th.
Invasion of Canada in 1775, including the Journal of Cap. Simeon Thayer, describing the Perils and Sufferings of the Army under Col. B. Arnold. With Notes and Appendix, by E. M. Stone (Providence, 1867). This has a bibliography, and made part of the R. I. Hist. Soc. Coll., vol. vi.
Journal of an Expedition against Quebec in 1775, under Col. Benedict Arnold, by Joseph Ware, of Needham, Mass. Published by Joseph Ware, grandson of the journalist (Boston, 1852). The journal begins Sept. 13, 1775. The writer was taken prisoner during the attack of Dec. 31st, and his journal ends on a cartel at sea, Sept. 6, 1776. The notes are by Justin Winsor, and the journal was first printed in the N. E. Hist. and Geneal. Reg., April, 1852. A question has been raised as to Ware's authorship of this journal (Whitmore's Amer. Genealogist, p. 84).
There is in Harvard College library a copy of the MS. journal of Ebenezer Wild, beginning at Cambridge Sept. 13th, and ending at Quebec, while he was a prisoner, June 6, 1776. It was printed by Justin Winsor with a note on similar records, in the Mass. Hist. Soc. Proc., April, 1886, and separately (75 copies).
Of Christian Febiger, the adjutant of the expedition, a Dane, but resident in Massachusetts, there is an account and portrait in Mag. of Amer. Hist., March, 1881.
An orderly-book of the expedition, Nov. 8, 1775, to Feb. 26, 1776, is in the Pension bureau of the War Department at Washington. There is in the Sparks MSS. (lii. vol. ii. p. 25) a list of officers and volunteers on the expedition and at Quebec, furnished to Sparks at New York, Feb., 1831, by Col. Samuel Ward, of whom a letter describing his experiences on the march is also preserved (Sparks MSS., no. xxv.). There are in the Mass. Archives: Revolutionary Rolls, vol. xxviii., lists of officers of the reinforcements for Ticonderoga and Canada, and in a separate volume a list of soldiers under Colonel Arnold, and of the killed, wounded, and prisoners at Quebec, Dec. 31, 1775. (Cf. list in Ware's Journal.) The N. Y. Continental line (four regiments and one artillery company) was organized, under a vote of the N. Y. provincial congress, June 28, 1775, and served on this campaign. Capt. John Lamb's artillery company left New York with seventy enlisted men, and (March 30, 1776) were reduced to thirty-one rank and file. The term of service of the N. Y. line expired in April, 1776; but a large part reënlisted (Asa Bird Gardiner in Mag. of Amer. Hist., Dec., 1881). The service of New Hampshire is shown in the N. H. Rev. Rolls, i. pp. 209, 311, 339, etc. Cf. Quebec Lit. and Hist. Soc. Trans., 1871-73, 1876-77; Potter's Amer. Monthly, Dec., 1875.
[645] Wooster's share in the campaign was not a happy one. "His defect was his age", says C. F. Adams. "Few of the brave officers in the French war sustained their reputation in the revolutionary struggle" (Life and Works of John Adams, iii. 44). Lossing's Schuyler and Hollister's Connecticut have somewhat opposing sympathies respecting Wooster's character. Cf. much in 4 Force's Archives, iv., v., vi., and 5 Ibid., i. The opinion upon Wooster of the Commissioners to Congress is shown in their letter of May 27th (Force's Archives, vi. 589). There is a letter of Wooster from Montreal, Feb. 11, 1776, addressed to Roger Sherman, in Letters and Papers, 1761-1776 (MSS. in Mass. Hist. Soc., p. 167). In this he speaks of his disagreements with Schuyler, and says that his persuasion had prevented Montgomery from resigning.
[646] Sparks's Corresp., etc., vol. i. 116, 154, and App. (Dec. 31, 1775; Jan. [1776] 2, 11, 12, 24; Feb. 1, 27; April 20, 30; May 8, 15; June, etc.). Arnold's letter of Dec. 31 in the N. H. Prov. Papers, vii. 719. Cf. Lossing on Arnold in Harper's Monthly, xxiii. 721.
[647] American.—Report, Jan. 24th, to Congress, in Secret Journal, i. 38.
Letters from Point-aux-Trembles in App. of Henry's Journal (ed. of 1877).
Donald Campbell's despatch to Wooster, Dec. 31, 1775, in Dawson, i. 116; and in N. H. Prov. Papers, vii. 718.
Letters of Wooster to Schuyler and Warner (Jan. 5th and 6th), and Schuyler to Washington (Jan. 13th), in N. H. Prov. Papers, vii. 720-22. Cf. Sparks MSS., lviii. 12.
Lieut. Eben Elmer's diary of the Canada expedition in N. Jersey Hist. Soc. Proc., ii. and iii.
General Irvine's diary, beginning May, 1775, in Hist. Mag., April, 1862.
The journal of Col. Rudolphus Ritzema, first N. Y. regiment, Aug. 8, 1775, to March 30, 1776, now in the N. Y. Hist. Soc., and printed in Mag. of Amer. Hist. (Feb., 1877), i. p. 98. Under date (Montreal) of Jan. 3, 1776, he gives an account of the failure at Quebec, news of which had just reached there by Mr. Antell, an express (from N. Y. Archives in Sparks MSS., xxix.).
Journal of the Rev. Ammi Ruhamah Robbins, chaplain in the American army, in the northern campaign of 1776 (New Haven, 1850).
The Shurtleff manuscript, No. 153. Being a narrative of certain events in Canada during the invasion by the American army, in 1775, by Mrs. Thomas Walker, with notes and introd. by Silas Ketchum (Contoocook, 1876), making part no. 2 of the Collections of the N. H. Antiquarian Soc.
Some of the diaries noted under the Kennebec expedition cover the attack on Quebec. Cf. Moore's Diary of the Rev., i. 185. A letter of Samuel Ward, Philad., Jan. 21, 1776, gives the news as it reached Congress (Sparks MSS., xxv.; cf. N. H. Prov. Papers, viii. 49).
A letter of Samuel Hodgkinson, before Quebec (April 27, 1776), is in the Penna. Mag. of Hist., July, 1886, p. 158.
Wilkinson joined the army in May, 1776, and his Memoirs (i. p. 39) has accordingly a personal interest.
The Memoirs of Charles Dennis Rusoe d'Eres, a native of Canada (Exeter, 1800), begins with the attack on Quebec.
More or less of reference to original sources is made in the lives of Washington by Marshall (i. 329) and Irving (ii. ch. 4, 5, 8, 12, 13, 15, 20, 22, 23); Lossing's Schuyler (i. ch. 28, 29); Leake's Lamb (ch. 7 and 8); Read's Geo. Read (i. 141); and the lives of Montgomery and Arnold already referred to. Intercepted letters from Arnold to Montgomery and Washington are in the Haldimand Papers.
Daniel Morgan, the commander of the Virginia riflemen, was a conspicuous actor in the attack. Rebecca McConkey, in her Hero of Cowpens (New York, 1881), claims that Morgan deserves the credit which Arnold usually receives. A description by Morgan of his part in the attack is among some papers gathered by Sparks for a life of Morgan (Sparks MSS., lii. vol. ii. p. 99), and this same autobiographic letter is printed at greater length in the Hist. Mag., xix. 379, as from the Pittsburgh Gazette of July 10, 1818, where it is said to have been found among some papers once belonging to Gen. Henry Lee, and is supposed to have been addressed to Lee by Morgan about 1800, two years before Morgan died. The copy made by Sparks is given as from a paper then (1831) in the possession of General Armstrong. Cf. Graham's Life of Morgan (ch. 5); Dennie's Portfolio, viii. p. 101; Southern Lit. Messenger, xx. p. 559.
The principal general accounts on the American side are in Bancroft (viii. ch. 52-54, or final revision, iv. ch. 19 and 24); Ramsay's Amer. Rev.; Hollister's Connecticut (ii. ch. 9); Dawson's Battles (ch. 7); Carrington's Battles (ch. 20, 21); Gay's Pop. Hist. U. S., ix. 133; Dennie's Portfolio, ix. 133.
Sullivan rehearses the news as it reached the Cambridge camp (N. H. Prov. Papers, viii. 36). There are in the Aspinwall Papers (ii. 772) various items of intelligence respecting "the defeat of the rebels" in Canada, gathered in New York in Feb., 1776.
British.—Carleton's despatch to Howe (Dawson, 118; also see Gent. Mag., June, 1776). The letters which passed from Dartmouth to Carleton, Dec. 10, 1774 to Sept. 9, 1777, are noted in the Chalmers MSS. (Thorpe's Supplement, 1843, no. 622). Other papers are in the Haldimand Papers (Brit. Mus.), of which a calendar has been printed (p. 207) by the Dominion archivist at Ottawa. The volumes in the Public Record Office, London, marked "Quebec, xiv., xv., vols. 348, 349", cover this period.
Journal of the siege of Quebec, by Hugh Finlay, in Quebec Lit. and Hist. Soc. Docs., 4th series. (The bibliography of this society is given in Sabin, xvi. no. 67,015, etc.)
Account of the siege, beginning Nov., 1775, dated on board sloop-of-war "Hunter", June 15, 1776, addressed by Col. Henry Caldwell to Gen. Jas. Murray, has been printed in the Transactions of the Quebec Lit. and Hist. Soc., and in Hist. Mag., xii. 97 (1867).
A Journal of the Siege, Dec. 1, 1775, to May 7, 1776, is noted in the Chalmers MSS. (Thorpe's Supplement, 1843, no. 623). This MS. is now in the Sparks MSS. (xlii. no. 1). Its earliest entry is really Dec. 5th. It gives a particular account of the share taken by the journalist in the defence of Dec. 31st, calling it "a glorious day for us, and as complete a little victory as was ever gained." The last entry is, in fact, May 9, 1776.
In Thorpe's Supplement (no. 624) there is also noted a Journal of the Siege, by Capt. Thomas Ainslee, written on the spot, Sept., 1775, to May 6, 1776. This is also now in the Sparks MSS., i.
Journal of the Siege of Quebec in 1775-76, collected from some old manuscripts originally written by an officer, to which are added a preface and illustrative notes by W. T. P. Short (London, 1824). It begins Dec. 1, 1775, and ends May 6, 1776; but the editor continues the narrative, briefly, through the campaign (Menzie's Catal., no. 1,107).
Journal of the most remarkable occurrences in Quebec, from the 14th of Nov., 1775, to the 7th of May 1776, by an officer of the garrison. It is printed in the N. Y. Hist. Soc. Coll., 1880, p. 175. Of the British general accounts, mention may be made of the Annual Register, xix. ch. 1, 5; xx. ch. 1; Andrew's Late War (ch. 19, 20); Stedman's Amer. War (ch. 2, 10); Adolphus's England (ii. 237); Bisset's George the Third (i. ch. 15); Mahon's England (vi. 76); W. Lindsay's Invasion of Canada by the American provincials (1826). Sir James Carmichael-Smythe's Précis of the War in Canada criticises the plan of Montgomery's attack. Cf. Canadian Antiquarian, v. 145; Lemoine's Maple Leaves, pp. 84, 95; his Picturesque Quebec, pp. 120, 231; J. Lesperance's Bastonnais: tale of the American invasion of Canada in 1775-76 (Toronto, 1877).
Lossing has a paper on the local associations of Quebec in Harper's Monthly, xviii. 176; and similar detail is also given in his Field-Book of the Am. Rev.
French.—There are three records in the Lit. and Hist. Soc. of Quebec: 1. Le témoin oculaire de la guerre des Bastonnais durant les années 1775 et 1776 par M. Simon Sanguinet.
2. Journal contenant le récit de l'invasion du Canada en 1775-1776, redigé par M. Jean B. Badeaux, printed in their Hist. Documents, 3d series. For Nos. 1 and 2 see Verreau's Invasion du Canada (Montreal, 1873).
3. Journal tenu pendant le Siège du fort St. Jean en 1776 par M. Antoine Foucher.
The principal general French history on the subject is Garneau's Histoire du Canada.
Cf. Centenaire de l'assaut de Québec par les Américains 31 Décembre, 1775. Compte-rendu de la Séance solennelle donnée par l'Institut Canadien, 30 Déc., 1875. Quebec, 1876 (Sabin, xvi. 66,997).
[648] A letter of Samuel Hodgkinson, April 27th, is in the Penna. Mag. of Hist., July, 1886, p. 162.
[649] Sparks's Corresp. of the Rev., i. 185, 189, 196; Force's Archives, 4th, v., vi.; 5th, i. Among the General Thomas papers, beside drafts of his own letters at this time, there are letters to him from Arnold (May 1, 11, 14); from Schuyler (May 17); and from Baron de Woedtke (May 11, 12, 18, 19). Some memoranda from Thomas's letters are in a collection of Letters and Papers, 1761-1776 (p. 165), in the Mass. Hist. Soc. cabinet. Cf. also Lossing's Schuyler (ii. ch. 1, 2); I. N. Arnold's Arnold (ch. 5); Read's Geo. Read, 150; Bancroft's United States (orig. ed., viii. ch. 67); Irving's Washington (ii. ch. 20; 22); Stone's Brant, i. 154.
[650] See the general narratives, and specially Sparks's Washington (iv. 56), for the capitulation; Resolutions of Congress, July 10, 1776, in Sparks's Corresp. of the Rev. (i. 258); S. E. Dawson in Canadian Monthly, v. 305; and Authentic narrative of facts relating to the exchange of prisoners taken at the Cedars, with original papers (London, 1777—Brinley Catal., ii. no. 3,967). Cf. John Adams's Life and Writings, ix. 407; N. H. Rev. Rolls, i. 477; and Force's Archives, 4th, vi. (p. 598), and 5th, i. The Agreement (May 27, 1776) of Arnold and Foster about the prisoners is in Sparks MSS., xiii. and xlv. Jones recounts the disputes arising over the fulfilment of Arnold's agreement for an exchange of the prisoners. N. Y. during the Revolution, i. 93. There is a French edition of the Authentic Narrative, by Marcel Ethier (Montreal, 1873).
[651] Sparks's Corresp. of Rev., i. 525, 531; Force's Archives, 4th, vi.; Colonel Irvine's account in Hist. Mag.; vi. 115; Life of George Read (ch. 3, with memoir of Thompson at end of ch. 2); Lossing's Schuyler (ii. 85); Marshall's Washington (ii. 362); Amory's John Sullivan; Bancroft's United States, original edition, viii. p. 415, etc.
[652] Sparks's Washington, iii. 423; Corresp. of the Rev., 211, 216, 231, 237, 239, 241; John Adams's Life and Writings, ix. 43. Letters of Sullivan, with some from Arnold during the retreat from Canada, are among the Sullivan papers (Sparks MSS., xx.). A letter from Arnold to Gates, Chamblée, May 31, 1776, is among the Gates Papers (copies in Sparks MSS., xx.). A letter of Thompson to St. Clair from Sorel, June 2, 1776, is in the St. Clair Papers (i. 367), with notes on the retreat.
[653] The are several personal records and diaries of these final months of the campaign. Dr. S. J. Meyrick, a surgeon of a Massachusetts regiment, wrote, June 1, 1836, to J. Trumbull, his recollections of the retreat, drawn up from contemporary minutes, beginning May 21, 1776 (Trumbull's Autobiography, 299).
Diary of Joshua Pell, Jr., beginning at Quebec, May 29, 1776, giving an account of Three Rivers defeat, ending Nov. 22d, is printed in Mag. of Am. Hist., ii. 43.
Letters of Colonel Bond (July, Aug., 1776) in N. E. Hist. and Geneal. Reg., iv. 71.
In the Sparks MSS. (lii. vol. ii. p. 69, etc.) are copies of papers belonging to the Amer. Philosophical Society (Feb., 1831), which contain a journal of Jacob Shallus, beginning in the camp before Quebec, May 6, 1776, and ending at Crown Point, July 1st. A journal of Lieut. Jona. Burton, Aug. 1 to Nov. 29, 1776, is in the N. H. State Papers, vol. xiv.
There are local aspects and connections of the campaign to be got from Watson's Essex County (ch. 10); Dunlap's New York (ii. ch. 1, 4); Mrs. Bonney's Hist. Gleanings, i.; Smith's Pittsfield, Mass. (ch. 15); Temple and Sheldon's Northfield, etc.
[654] Sedgwick's Livingston. There is also a copy in the Langdon Papers, and a copy from that in the Sparks MSS. (lii. vol. ii.). A letter of Paine is in Ibid. (xlix. ii.).
[655] A letter of John Carroll, describing his journey, and written from Montreal, May 1, 1776, is in Force's Archives, v. 1,158.
[656] Memoir of Josiah Quincy, Jr., 418. Lives of Franklin by Sparks, Parton, and Bigelow.
[657] Journal of Charles Carroll to Canada, with notes by B. Mayer (Baltimore, 1845). Journal of Charles Carroll of Carrollton during a visit to Canada in 1776, as one of the Commissioners from Congress (Baltimore, 1876—the Centennial volume of the Maryland Hist. Soc.). On Carroll, see Boyle's Marylanders; Annals of Annapolis; Niles's Register, xxx. 79; J. C. Carpenter in Mag. of Amer. Hist., ii. 101; J. M. Finotti in Cath. World, xxiii. 537; S. Jordan in Potter's Amer. Monthly, vii. 401. Poole's Index gives other references upon John Carroll. The Commissioner Charles Carroll was reputed to be the wealthiest man in America. Views of his mansion are in Mag. of Amer. Hist., ii. 101; Lamb's Homes of America; Brotherhead's Signers (1861, p. 81); and in Appleton's Journal, xii. p. 321. For a Carroll medal, see Amer. Journal of Numismatics, v. 8, xv. 45; Cath. World, July, 1876, p. 537.
The best known portrait of Carroll is that painted by Chester Harding, which for a while was deposited in the cabinet of the Mass. Hist. Soc. (Proc., i. 500). It has been engraved by A. B. Durand (National Portrait Gallery, N. Y., 1834), H. B. Hall (in Carroll's Journal, 1876), and J. B. Longacre. A portrait by Thomas Lally, formerly belonging to Governor Swann, of Maryland, is now in the Mass. Hist. Soc. Gallery (Proc., 2d ser., ii. 261). Cf. McSherry's Maryland.
[658] A letter of Chase and Carroll from Montreal, May 26, 1776, to General Thomas, is in the Mass. Archives, and is copied in the Sparks MSS (lii. vol. iii.).
[659] Their letters, written in May, are in Force's Archives, and the originals are preserved in the Archives at Washington; but Brantz Mayer says (Carroll's Journal, 1876, p. 37) that their report of June 12, 1776, could not be found. Their last letter, however, of May 27th, which Mayer prints (p. 38), gives their results. It is also in Force (vi. 589). The papers of General Thomas show their letters addressed to him of May 6, 12, and 15.
[660] Maj.-Gen. Robert Howe's report on the defences of Charlestown, some months later (Oct. 9th), is in the Amer. Archives, iii. 49.
[661] An Introduction to the History of the Revolt of the American Colonies, being a comprehensive view of its origin derived from the State Papers contained in the public offices of Great Britain (Boston, 1845).
[662] It is to be remembered that these positive statements as to the spirit of independence latent in the colonies were written after the achievement of the fact. It is but fair to say that it has been objected against the positiveness of Chalmers's statements that he presents no specific evidence of their truth from written authorities. (See Sparks's Washington, vol. ii. Appendix x., and his Preface to the American edition of Chalmers.) Viscount Bury, in his Exodus of the Western Nations (i. 395, 412), repeats the opinion of Chalmers as positively, yet also without authorities. On the other side, as illustrating how general statements may be affirmed, as if not to be qualified or challenged, we read in Governor Hutchinson's volume of his History written during his exile in England this sentence (vol. iii. p. 69), as of date 1758: "An empire, separate or distinct from Britain, no man then alive expected or desired to see",—an assertion more rhetorical than true. In the debate in the Commons on the Boston Port Bill and the infraction of the charter of Massachusetts, Sir Richard Sutton said "that even in the most quiet times the disposition to oppose the laws of this country was strongly ingrafted in the Americans, and all their actions conveyed a spirit and wish for independence. If you ask an American who is his master, he will tell you he has none, nor any governor, but Jesus Christ" (Adolphus, ii. 108).
[663] This last word recognized the jealousy and apprehension felt in Massachusetts about the sending over of bishops to the province.
[664] Examination before Committee of Parliament.
[665] See ante, chapter i.
[666] This Congress issued a very strong declaration "of the causes and necessity of taking up arms." It sought by clear statements "to quiet the minds of our friends and fellow-subjects. We do not mean to dissolve the union. Necessity has not driven us into that desperate measure. We have not raised armies with the ambitious designs of separation from Great Britain, and establishing independent states." This hesitating and vacillating course of the first two congresses would naturally encourage the British ministry in the belief, first, that the colonists were by no means of one mind as to valid reasons for a united opposition to government; and second, that the strength of the existing feelings of loyalty and attachment, backed by efficient policy, would withstand any looking towards independence.
[667] For an explanation of the reasons why R. H. Lee, the mover, was not made chairman of this committee, see Randall's Life of Jefferson, vol. i. 144-159.
[668] There is a slight conflict of testimony in private records—for we have none that are official—as to some of the details in the preparation of the Declaration. John Adams, trusting to his memory, wrote in his Autobiography (cf. Works, ii. 512), twenty-eight years after the transaction, and again in a letter to Timothy Pickering, forty-seven years after it (cf. Life of Pickering, iv. 463), and when he was in his eighty-eighth year, substantially to the same effect, namely, that Jefferson and himself were appointed by their associates a sub-committee to make the draft. Jefferson (Mem. and Corresp., iv. 375), on reading this letter, published in 1823, wrote to Madison denying this statement, and making another, relying on notes which he had made at the time. He says there was no sub-committee, and that when he himself had prepared the draft he submitted it for perusal and judgment separately to Dr. Franklin and Mr. Adams, each of whom made a few verbal alterations in it. These he adopted in a fair copy which he reported to the committee, and on June 28th to Congress, where, after the reading, it was laid on the table. On July 1st Congress took up for debate Mr. Lee's resolution for independence. Nine colonies—New Hampshire, Connecticut, Massachusetts, Rhode Island, New Jersey, Maryland, Virginia, North Carolina, and Georgia—voted for the resolution. The two delegates of Delaware were divided. South Carolina and Pennsylvania voted against it. The New York delegates affirmed that they approved it, but that their instructions at present did not warrant their voting for it; but on July 9th a New York convention ratified it. Rutledge moved for a day's delay, which being granted, South Carolina accorded. A third delegate coming by post from Delaware turned that colony to the affirmative. Two substituted delegates from Pennsylvania carried that province. The roll of the thirteen colonies was now in union. On the same day, July 2d, and the two days following, Jefferson's draft was under debate, and was amended in committee of the whole. The author of the instrument leaves us to infer that he sat in an impatient and annoyed silence through the ordeal of criticism and objection passed upon it. The two principal amendments were the striking out a severe censure on "the people of England", lest "it might offend some of our friends there." and the omission of a reprobation of slavery, in deference to South Carolina and Georgia. When the committee reported to Congress, such notes of the debates as we have inform us, that, with much vehemence, discordance, remonstrance, and pleadings for delay, with doubts as to whether the people were ready for and would ratify the Declaration, it secured a majority of one in the count of the delegates. Jefferson said that John Adams was "the colossus" in that stirring debate.
There is no occasion here for a critical study or estimate of the Declaration, either as a political manifesto or as a literary production. Its rhetoric, as we know, was at the first reading of it regarded as excessive,—needlessly, perhaps harmfully, severe. That has ever since been the judgment of some. But Jefferson, Franklin, and John Adams, men of three very different types of mental energy and styles of expressing themselves, accorded in offering the document. The best that can be said of it is, that it answered its purpose, was fitted to meet a crisis and to serve the uses desired of it. Its terse and pointed directness of statement, its brief and nervous sentences, its cumulating gathering of grievances, its concentration of censure, and its resolute avowal of a decided purpose, not admitting of temporizing or reconsideration, were its effective points. Dating from its passage by the Congress, and its confidently assured ratification by the people, it was to announce a changed relation and new conditions for future intercourse between a now independent nation and a repudiated mother country. The resolve was sustained. Henceforward, whatever proffers, threats, appeals of amity, for readjustment of quarrels, or for harmony, might come from king or Parliament, or through commissioners, must proceed after the diplomatic fashion, on the admission that the negotiation was no longer between a government and its revolted subjects, but between two distinct sovereignties.
[669] It might be regarded as a matter of course that no parliamentary or other official proceeding or document of the British government would recognize, by way of examination or controversy, the crowning state paper of the American Congress. Chagrin, contempt, vengeful feelings, or a simple regard for its own dignity, may have induced the government to assume indifference. As yet the Declaration was a paper assertion of what was not then secured. But the English press was neither silent nor respectful about the Declaration. An able pamphlet appeared as An Answer to the Declaration of the American Congress (London, 1776). Another pamphlet, at first privately circulated, afterwards published, was written by Governor Hutchinson, then in England, entitled Strictures on the late Declaration of Congress. It is reprinted anonymously in Almon's Remembrancer, iv. 25. The writer says that the reasons given in the Declaration to justify it are "false and frivolous." He sent a copy of this pamphlet to the king, with an obsequious letter. Adolphus, after saying "that at no preceding period of history was so important a transaction vindicated by so shallow and feeble a composition", adds that "some passages are remarkable for low and intemperate scurrility", (vol. ii. 405, 406).
[670] A shining exception to the sweep of Judge Jones's assertion is found in the case of that gifted and eminent man, Dr. William Samuel Johnson, first Senator in the Constitutional Congress from Connecticut, and president of Columbia College. Though not a clergyman, he had been a lay reader in the Episcopal Church, as inheriting from his distinguished father, and accepting through his own convictions, its doctrine and discipline. Strongly conservative, with many fond ties to England and Englishmen from long residence abroad as an agent of his colony, he might naturally have espoused the side of the mother country. Indeed, rather from a suspicion that he would do so than from any overt act of his, he was arrested on an occasion of popular excitement, in 1779. But he proved to be among the wisest and firmest of patriots. See his Life, by Dr. E. E. Beardsley, 2d edition, Boston, 1886.
[671] Reflections, etc., p. 115.
[672] The History of the American Episcopal Church, 1587-1883, by Bishop W. S. Perry, Boston, 1885, vol. i. chap. xxiv., "The Position of the Clergy at the Opening of the War for Independence."
[673] On the records of the New York Provincial Congress, or Convention, is a letter dated July 11, 1776, drafted by Gouverneur Morris, and addressed to Hancock, president of the Continental Congress, which contains the following remarkable proposition: "We take the liberty of suggesting to your consideration the propriety of taking some measures for expunging from the Book of Common Prayer such parts, and discontinuing in the congregations of all other denominations all such prayers, as interfere with the interests of the American cause. It is a subject we are afraid to meddle with. The enemies of America have taken great pains to insinuate into the minds of the Episcopalians that the church is in danger. We could wish that the Congress would pass some resolve to quiet their fears, and we are confident it would do essential service to the cause of America at least in this State." Happily Hancock did not act on this suggestion. Congress might indeed have issued a revised edition of the English Liturgy; but a censorship of the utterances of extemporaneous prayers would have been beyond its range. These extemporaneous devotions were doubtless at the time sufficiently patriotic.
[674] See ante, chapter i.
[675] The writings of Samuel Adams abound in the expression of opinions similar to the following from the pen of his cousin, John Adams: "If Parliament could tax us, they could establish the Church of England, with all its creeds, articles, tests, ceremonies, and titles, and prohibit all other churches, as conventicles and schism-shops" (Works, x. 287, 288).
[676] See The Pulpit of the American Revolution: or, the Political Sermons of the Period of 1776. With a Historical Introduction, Notes, and Illustrations. By John Wingate Thornton. (Boston, 1860.) It contains Election and Thanksgiving sermons by Dr. Mayhew, Dr. Chauncy, Mr. Cook, Mr. Gordon, Dr. Langdon, Mr. West, Mr. Payson, Mr. Howard, and President Stiles, all of them eminent and able divines of Massachusetts and Connecticut, fearlessly bold, yet guided by wisdom.
In the French Archives, among the papers of Choiseul, prime minister of France before our Revolutionary period, there are curious evidences of the intelligent and keenly inquisitive method which that astute statesman employed to acquaint himself thoroughly with the relations of the religious teaching and belief of the people of New England and the spirit of liberty aroused among them. He sent here a messenger to gather information especially upon those as upon many other subjects. He was to collect newspapers, advertisements, and extracts from sermons. It was inferences from such communicative papers, with other interpretations of omens and signs of the times, that helped prepare the government for the alliance of 1778. The French minister sent two emissaries, M. de Fontleroy in 1764 and the Baron De Kalb in 1768. (See Kapp's Life of John Kalb.) The latter's letters are copied in the Sparks MSS. Cf. the Vicomte de Colleville's Les missions secrètes du général-major baron de Kalb, et son rôle dans la guerre de l'indépendance américaine (Paris, 1885). Franklin was in Paris at this time. Cf. E. E. Hale's Franklin in France, p. 2.
[677] American Presbyterianism, its Origin and Early History, etc. By Charles Augustus Briggs, D. D. (New York, 1885, ch. ix.)
[678] All that can be said in justification of George III. is said by Mahon (vi. 100). The fact is, that, with the exception of a few like Dean Tucker and John Cartwright, the king's subjects were, like himself, deceived for a long time into believing that the loss of England's colonies would cause her sun to set. It was the king's obstinacy or "steadfastness", as you choose to call it, which kept him longer of that opinion than almost all of his subjects.—Ed.
[679] Well might Washington, writing to Dr. Franklin in France, October, 1782, and referring to the delay of the negotiations for peace, emphasize "the persevering obstinacy of the king, the wickedness of his ministry, and the haughty pride of the nation" (Sparks's Franklin, ix. 422).
[680] Lord Mahon's History, vol. vi. Appen. lviii.
[681] Ibid., vii. Appen. xxix.
[682] An emphatic sentence from the pen of the able and candid historian Lecky may be quoted here. Referring to "the sullen and rancorous nature of an intensity of hatred" towards Chatham, which led the king, against all advice and urgency, to refuse any aid from that noble statesman, Lecky writes "This episode appears to me the most criminal in the whole reign of George III., and in my own judgment it is as criminal as any of those acts which led Charles I. to the scaffold" (Hist. of Eng. in the XVIIIth Cent., iv. 83).
[683] The Massachusetts refugee, Judge Curwen, thus writes, in London, in 1780: "In this baneful, woful quarrel, such a continued, unbroken series of disappointments, disasters, and mortifying events have taken place, that it seems to me to be morally impossible but the eyes of all thoughtful, prudent, knowing men must open and discern the impolicy and impracticability of accomplishing the great end for which this war was undertaken,—the reduction of the colonies to the obedience of the British Parliament" (Curwen, p. 311).
[684] Wells's Adams, i. p. 164.
[685] There is something very significant as well as comical in the following entry in John Adams's Diary in Congress, in 1775, when he had made his way to a full deliverance: "When these people began to see that independence was approaching, they started back. In some of my public harangues, in which I had freely and explicitly laid open my thoughts, on looking round the assembly, I have seen horror, terror, and detestation strongly marked on the countenances of some of the members, whose names I could readily recollect; but as some of them have been good citizens since, and others went over afterwards to the English, I think it unnecessary to record them here" (Works of John Adams, ii. p. 407). Mr. Sparks has gathered (Washington, Appendix x. vol. ii.) the expressed opinions of such typical patriots as Washington, Franklin, Henry, Madison, Jay, etc., utterly and emphatically disavowing all thoughts or purposes of independence till the crisis made it a matter of necessity, not of choice. It is but candid, however, to note an anticipation of that acute observer Joseph Galloway, whether it was but a surmise or a reasonable inference. In a letter addressed by him, Jan. 13, 1766, to Dr. Franklin, in London, he writes: "A certain sect of people, if I may judge from all their late conduct, seem to look on this as a favorable opportunity of establishing their republican principles, and of throwing off all connection with their mother country. I have reasons to think that they are forming a private union among themselves from one end of the continent to the other" (Sparks's Franklin, vii. 305). The assertion of John Jay is most explicit and emphatic: "During the course of my life, and until the second petition of Congress, in 1775, I never did hear any American of any class, or any description, express a wish for the independence of the colonies" (Life and Writings of John Jay, ii. p. 410). Mr. Jay probably referred to the contemptuous treatment of that second petition, "Dickinson's Letter", not to its transmission.
[686] Works, vii. 391.
[687] Reflections, etc., p. 102.
[688] Before this decision was reached, however, Congress, in 1774, made this tentative effort to recognize the unity of the empire in the extending through it of some sovereign power while holding to a local independence, in this form: "From the necessity of the case and a regard to the mutual interests of both countries, we cheerfully consent to the operation of such acts of the British Parliament as are bonâ fide restricted to the regulation of our external commerce, for the purpose of securing the commercial advantages of the whole empire to the mother country, and the commercial benefits of its respective members, excluding every idea of taxation, internal and external, for raising a revenue, on the subjects in America, without their consent." This was a seemingly candid and sincere suggestion to harmonize the positions taken by the respective parties in the controversy. Britain, the mistress of the seas, protected the great highways of commerce, and so might regulate the trade of her colonies by the ocean, as she did her own. But these colonies had constitutional charter assemblies with exclusive powers for raising and disposing of their own revenues.
[689] A very admirable and faithful digest of the proceedings of Congress, the materials and incidents being gathered by wide and diligent research, may be found in the ninth chapter of The Rise of the Republic of the United States, by Richard Frothingham (Boston, 1872).
[690] History of England in the XVIIIth Century, iii. p. 377.
[691] A very significant reference to the mixed qualities recognized in Paine by his contemporaries is found in Men and Times of the Revolution; or Memoirs of Elkanah Watson, etc. (New York, 1856). Mr. Watson, a native of Plymouth, was patriotic in his sentiments, and was on mercantile business in Europe during the war, honored with the friendship of Dr. Franklin and John Adams in Paris. His brother, Benj. Marston Watson, of Marblehead, was a noted loyalist. (See a "Memoir" of him in N. E. Hist. and Geneal. Reg., Oct., 1873.) When Elkanah was at Nantes in 1781, Paine arrived there as secretary of Colonel Laurens, "and took up his quarters at my boarding-place. He was coarse and uncouth in his manners, loathsome in his appearance, and a disgusting egotist. Yet I could not repress the deepest emotions of gratitude towards him, as the instrument of Providence in accelerating the declaration of our independence. He certainly was a prominent agent in preparing the public sentiment of America for that glorious event."
A very fair estimate of the qualities in Paine's pamphlet which adapted it for popular effect is the following, by the English historian Adolphus: "His pamphlet was replete with rough, sarcastic wit, and he took, with great judgment, a correct aim at the feelings and prejudices of those whom he intended to influence. Writing to fanatics, he drew his arguments and illustrations from the holy Scriptures; his readers, having no predilection for hereditary titles, distinctions to them unknown, received with applause his invectives and sneers at hereditary monarchy; a notion of increasing opulence, and false calculations on their population and means of prosperity, had rendered them arrogant and self-sufficient, and consequently disposed them to relish the arguments he employed to prove the absurdity of subjugating a large continent to a small island on the other side of the globe. To inflame the resentment of the Americans, every act of the British government towards them was represented in the most ungracious light", etc. (Adolphus, ii. 400). A most thoroughly candid and discriminating estimate of the character and abilities, the good and the bad elements in Paine, may be found in a letter, not for publication, by Joel Barlow to Cheetham, Paine's biographer (Life and Letters of J. Barlow, by Charles Burr. Todd, 1886, pp. 236-239). Cheetham meanly published this letter.
[692] Dr. Josiah Tucker, Dean of Gloucester, sought to be an oracle alike on its commercial and political bearings. He had well informed himself about the history and condition of the colonies. He thought it a mistake that Britain had broken the power of the French, and, by withdrawing the threat of their presence over the English colonists, had left them to set up for independence. The idea that their disaffection began with the Stamp Act he repudiated, as disproved by their restiveness and truculency from their first settlements, and from the occasion there had always been for the interposition of sharp measures of government for restraining them. His opinion of their general character was highly unfavorable, but he was thoroughly satisfied with the impossibility of subduing them, and even of the inexpediency of retaining a forced relation to them. His advice was that Britain should at once give over its attempts at subjugation, and even acquiesce in leaving them to take care and govern themselves, at least till they should repent of their folly. He anticipated, as the solution of wisdom, the complete abandonment of any interference with the recusant Americans, maintaining that the methods of profitable commerce, which would secure English interests and supremacy, would be more effective than a fretting interference with them. His views—which, looked at in the retrospect, appear thoroughly sagacious—were, to most of his contemporaries, either visionary or exasperating. Tucker set forth the positive facts, that while war was most ruinous to the interests of commerce, those interests ought to serve to the security of peace. The war of England against the Spanish right of search had won no benefit, but had added sixty millions sterling to the debt of the realm. The late French war had cost ninety millions more, and by relieving the colonists of all dread of the French had encouraged them to set up for independence.
[693] For further account of Galloway as a controversialist, see post, the section on the Loyalists.
[694] Introduction to the Hist. of the Revolt, and in his preface to his Opinions of eminent lawyers. Cf. J. R. Seeley on the accountability of the old colonial system for the revolt of the American colonies. Expansion of England, lecture iv. Cf. W. T. Davis's Ancient Landmarks of Plymouth, p. 75. On religious causes, see B. Adams's Emancipation of Mass. (last chap.).
[695] Works, ii. 411, 413, iii. 45, ix. 591, 596, x. 284, 359, 394; Mass. Hist. Soc. Coll., xliv. 300, 465; N. E. Hist. and Geneal. Reg., July, 1876.
[696] There is help in tracing the sporadic instances of the independent spirit to be found in Sparks's App. to his Washington (ii. 496), in Frothingham's Rise of the Republic (pp. 154, 245, 291, 315, 364, 428, 438, 449, 452, 469, 483, 489, 499, 506, 509); in Hutchinson's Massachusetts (iii. 134, 264, 265,—cf. Mass. Hist. Soc. Proc., xix. 135); in Jefferson's Notes on Virginia; in Galloway's Examination; in Force's American Archives, 4th ser., ii. 696, and vi., index, under "Independence;" in Bancroft, vii. 301, viii. ch. 64, 65, 68; in Grahame, iv. 315; in J. C. Hamilton's Repub. of the U. S., i. 110; Palfrey's New England, i. 308, ii. 266; Mem. of Josiah Quincy, Jr., p. 228; Wells's Sam. Adams, ii. 242, 352; Greene's Nath. Greene, i. 122; Austin's Gerry, ch. 13; Rives's Madison, i. 108, 124.
The position of parties in Congress can be traced in Randall's Jefferson, i. 153; Read's Geo. Read; John Adams's Works, i. 220, 517, ii. 31-75, 93; Pitkin's United States, i. 362.
[697] Boston Gazette, April 15th and 29th; Penna. Evening Post, April 20th, etc. Several of these are quoted in Moore's Diary.
[698] Declaration of Independence by the Colony of Massachusetts Bay, May 1, 1776, by H. B. Dawson, N. Y., 1862; or Hist. Mag., May, 1862.
[699] Adams's Works, iv. 201; Mag. of Amer. Hist., May, 1884, p. 369; Bancroft, viii. ch. 64; Force, 4th ser., vi. 1524.
[700] N. Y. Hist. Coll., 1872, p. 26; and on the timidity of Penna., Reed's Reed, i. 199-202.
[701] Works, ii. 489, 510; Mass. Hist. Soc. Coll., xliv. 466; Jameson's Constitutional Conventions, pp. 115, 116.
[702] No. Amer. Rev., by L. Sabine, April, 1848.
[703] Passed May 15th, and written by Edmund Pendleton,—Rives's Madison, i. 123, 130. For R. H. Lee see Life by R. H. Lee, Jr.; Sanderson's Signers; Brotherhead's Book of Signers, etc.
[704] The record is scant in the one called "Secret Domestic Journal." These are described in M. Chamberlain's Authentication, etc., p. 17.
[705] In Jefferson's Writings, i. 10, 96; Madison Papers (1841), i. 9; Elliot's Debates, vol. i. 60; Read's George Read, 226. There are other accounts in John Adams's Works (i. 227, iii. 30, 55, ix. 418). John Adams's letter to Mercy Warren (1807) is in Frothingham's Rise of the Republic (App.) and in Mass. Hist. Soc. Coll., xliv. 465.
[706] Works, i. 229, and Mellen Chamberlain's John Adams, the Statesman of the Revolution (Boston, 1884).
[707] Bancroft, viii. ch. 65; Wells's Sam. Adams, ii. ch. 41, 42; Rives's Madison, i. 125; C. F. Adams's John Adams's Works, i. 227; and a brief but clear exposition in Lecky (iii. 498). The reasons for and against the Declaration are summarized in Read's George Read, 226, 247; and Smyth (Lectures, ii. 370) gives from an English point of view the reasons which rendered separation and independence inevitable. The lives of the leading participants—Jefferson, the two Adamses, R. H. Lee, Franklin—necessarily include accounts.
[708] Pitkin's U. S., vi. 263; Penna. Journal, June 19, 1776; Read's Geo. Read, 164; John Adams, ix. 398.
[709] Niles's Weekly Register, xii. 305, etc.; Mass. Hist. Soc. Coll., xliv. 507; his letter of June 16, 1817, in App. of Christopher Marshall's Diary, and one of Aug. 22, 1813, in Harper's Mag., 1883, p. 211.
[710] This being sent to a friend in England, thirty copies of the paper were printed under the title of The Declaration of independence, or notes on Lord Mahon's history of the American declaration of independence (London, 1855). The criticism was also printed in Littell's Living Age (xliv. 387).
[711] A copy of it with notes by John Home, the author of Douglas, is in the Philadelphia library.
[712] Cf. Morley, in his Edmund Burke, p. 125. Lord John Russell (Mem. and Corresp. of Fox, i. 152) thinks the truth was warped in charging all upon the king, while in fact "the sovereign and his people were alike prejudiced, angry, and wilful."
[713] Cf. Franklin's Works (Sparks), x. 293; Wells's S. Adams, ii. 340, 360; John Adams's Works, i. 204, ix. 627, and his Familiar Letters, 134, 137, 146; Moore's Diary, i. 208; Jones's N. Y. during the Amer. Rev., i. 63; Force's, Amer. Archives, indexes. A letter from Charleston, S. C., March 17, 1776, says, "Common Sense hath made independents of the majority of the country, and [Christopher] Gadsden is as mad with it as ever he was without it" (Mass. Hist. Soc. Proc., xi. 254). On Paine, see Duyckinck, Allibone, Poole's Index, W. B. Reed in No. Amer. Rev., vol. lvii.; J. W. Francis' Old New York, 2d ed., p. 137; Parton's Franklin, ii. 19, 108; N. E. Hist. and Geneal. Reg., October, 1879. See further, on his influence at this time, Frothingham's Rise, etc., 476, 479; Barry's Mass., iii. 89; Randall's Jefferson, i. 137; Bancroft, orig. ed., ch. 56. On the English side, Smyth's Lectures, ii. 430, 446; Mahon, vi. 93; Ryerson, ii. ch. 32. For the Rousseauishness of the sentiments, see Lecky, iv. 51. Louis Rosenthal (Mag. of Amer. Hist., July, 1884, p. 46) thinks we need not go beyond English precedents for any of the sentiments of the day. For the bibliography of Common Sense, See Hildeburn's Issues of the Press in Penna. (1886), nos. 3,433, etc.; Sabin, xiv. p. 124; Menzies Catal., no. 1,536; Brinley, ii. p. 166. It was printed and reprinted in Philadelphia, in English and once in German, and in the same year (1776) reprinted in Salem, Newburyport, Providence, Boston, Norwich, Newport, New York, Charleston, and also in London and Edinburgh, and is included in Paine's Writings (Albany, 1791-92; Charlestown, Mass., 1824; New York, 1835, etc.) A volume of Large Additions to Common Sense (Philad. and London, 1776, etc.) was got up by Robert Bell to extend his edition over that of Paine's then publisher (Hildeburn, no. 3,439; Brinley, ii. no. 4,100). Frothingham (p.476) has a bibliographical note. It is included in a French Recueil des divers écrits of Paine (Paris, 1793).
There is a portrait of Thomas Paine by Peale, engraved by J. Watson (cf. J. C. Smith's Brit. Mez. Portraits, iv. 1529). A likeness by Romney, engraved by William Sharp, in two sizes. There is a portrait in Independence Hall, Philadelphia.
The chief answer was Plain Truth, written by Candidus (Philad. and London, 1776). In the Doc. Hist. N. Y., 4to ed., iii. 642, its authorship by Charles Inglis is thought to be established; but see Franklin Burdge in Mag. of Amer. Hist., ii. 59. Sabin (xv. p. 176) says it was probably by Jos. Galloway; but there is no evidence of it. Hildeburn (no. 3,345) gives reasons for assigning it to George Chalmers. It passed to a second edition.
[714] Bancroft (United States, orig. ed., ix. ch. 15; final ed., v. ch. 9), and G. W. Greene (Hist. View, p. 104) groups the several records.
[715] Rives's Madison, i. ch. 5; Madison's Writings, i. 21; Niles's Principles and Acts, 1876, p. 301; J. E. Cooke in Mag. of Amer. Hist., May, 1884; Preston's Docs. illus. Amer. Hist., p. 206, and Bill of Rights passed June 12, 1776, adopted without alteration by the Convention of 1829-30, and readopted with amendments by the Convention of 1850-51, and now readopted as passed June 12, 1776 (Richmond, 1861; also Journal of the Convention of 1861). On George Mason see R. Taylor in No. Amer. Rev., cxxviii. 148; Southern Bivouac, April, 1886. A portrait is owned by the Penna. Hist. Soc.
[716] Randall's Jefferson, i. ch. 6; Grigsby's discourse on the Convention in 1855.
[717] Cf. the account of its centennial celebration, July 30, 1877, with a view of the old senate house at Kingston, in the Centennial Celebrations of N. Y. (Albany, 1879), and J. A. Stevens's "Birth of the Empire State" in the Mag. of Amer. Hist., iii. p. 1. Also see Ibid., April, 1887, p. 310, and Dawson's West Chester County, pp. 182, 206.
Congress, July 1, 1782, passed votes for perpetuating the observance of the day (Journals, iv. 43). A famous letter of John Adams to his wife, dated July 3d, and predicting that the future observance would be of July 2d as the essential day, was so far altered as to be dated July 5th when first printed, in order to keep the prophecy true to the custom, which by that time had designated July 4th as the day to be observed (Familiar Letters, p. 190; Works, ix. 420). A letter of Adams to Judge Dawes on this point is in Niles's Principles, etc. (1876), p. 328. Cf. Potter's American Monthly, Dec., 1875.
[718] The Report of a Constitution or Form of Government for the Commonwealth of Massachusetts: agreed upon by the Committee—to be laid before the Convention of Delegates, assembled at Cambridge, on the First Day of September, A. D. 1779, and continued by adjournment to the Twenty-eighth Day of October following (Boston, 1779). Cf. also A Constitution or Frame of Government agreed upon by the Delegates of the People of the State of Massachusetts Bay, in Convention begun and held at Cambridge on the First of September, 1779, and continued by adjournment to the Second of March, 1780. To be submitted to the Revision of their Constituents &c. (Boston, 1779), and An Address of the Convention for Framing a new Constitution of Government for the State of Massachusetts Bay, to their Constituents (Boston, 1780). Cf. also Parsons's Life of Theophilus Parsons, p. 46; Brooks Adams's Emancipation of Massachusetts, p. 307.
[719] Cf. Dr. Charles Deane's report on this document in Mass. Hist. Soc. Proc., v. 88. The Hon. Alexander H. Bullock read a paper before the Amer. Antiq. Society in April, 1881, which was printed as The Centennial of the Mass. Constitution (Worcester, 1881), and the Proceedings of the N. E. Hist. Geneal. Society in commemoration were also printed, and embodied a report of the proceedings of the State authorities.
[720] The Articles of Confederation can be found in Elliot's Debates, i. 79; Ramsay's Rev. in So. Carolina, i. 437; Hinman's Conn. in the Rev., 103; George Tucker's United States, i. App., p. 636; L. H. Porter's Outlines of the Constitutional Hist. of the U. S., p. 48; Walker's Statesman's Manual (New York, 1849), i. p. 1; New Hampshire State Papers, viii. 747; N. C. Towle's Hist. and Analysis of the Constitution of the U. S. (Boston, 1871), p. 328; Lossing's Field-Book, ii. 859; H. W. Preston's Documents illustrating Amer. Hist. (1886), p. 218, etc. For the debates and contemporary and later views, see John Adams's Works, i. 268, ii. 492, ix. 467; Mass. Hist. Soc. Coll., xliv. 315; Wells's Sam. Adams, ii. 473, 480; Bancroft, ix. 436; Hildreth, iii. 266; Parton's Franklin, ii. 125; Frothingham's Rise of the Republic, 569; Pitkin's United States; Story (i. 209) and Curtis (i. 114) on the Constitution; Elliot's Debates, i. 70; Von Holst's Constitutional Hist. of the U. S., ch. 1; Rives's Madison, i. ch. 10; Greene's Hist. View, 14; Draper's Civil War, i. 265, etc.
[721] Mother of Lindley Murray, the grammarian.
[722] ... "On the 2nd of November 1776 I sacrificed", says he, "all I was worth in the world to the service of my King & country, and joined the then Lord Percy, brought in with me the Plans of Fort Washington, by which Plans that Fortress was taken by his Majesty's Troops the 16 instant, together with 2700 Prisoners and Stores & Ammunition to the amount of 1800 Pounds. At the same time, I may with Justice affirm, from my knowledge of the Works, I saved the Lives of many of his Majesty's subjects. These, Sir, are facts well known to every General officer which was there." . . . . . . . . .
[723] For this New Jersey campaign see chapter v.—Ed.
[724] Every true American should be most profoundly grateful that this incompetent general was placed at the head of the British army, not for his own merits, but because of his connection with royalty through his grandmother's frailty. His mother was the issue of George I. and Sophia Kilmansegge.
[725] After Germain had written out Howe's orders, he left them to be "fair copied", and went to Kent on a visit, forgetting on his return to sign them; consequently they were pigeon-holed till May 18th, and did not reach Howe till August 16th, after he had left New York upon his expedition to the Chesapeake, and when it was too late to effect a junction with Burgoyne. Cf. Fitzmaurice's Shelburne, i. 358; Fonblanque's Burgoyne (p. 233); Jones's N. Y. during the Revolution, i. App. p. 696.—Ed.
[726] In ridicule of this appeal, Burke indulged in an illustration which delighted the House of Commons. "Suppose", he exclaimed, "there was a riot on Tower Hill. What would the keeper of his Majesty's lions do? Would he not fling open the dens of the wild beasts, and then address them thus: 'My gentle lions—my humane bears—my tender-hearted hyenas, go forth! But I exhort you, as you are Christians and members of civil society, to take care not to hurt any man, woman, or child.'"
[727] The familiar portrait of Schuyler is one by Trumbull, both in civil and military dress, in engravings by Thomas Kelly, H. B. Hall, and others. Cf. Lossing's Life of Schuyler, vol. i.; Irving's Washington, vol. ii. 40; Stone's Campaigns of Burgoyne, p. 38; Centennial Celebrations of N. Y. (Albany, 1878); C. H. Jones's Campaign for the Conquest of Canada in 1776; The Amer. Portrait Gallery, etc.
G. W. Schuyler (Colonial New York, ii. 253), in his account of General Philip Schuyler, points out some errors of a personal nature, into which Lossing and Judge Jones have fallen, respecting Schuyler's private history. For the Schuyler family, see N. Y. Geneal. and Biog. Record, April, 1874.
Schuyler's house in Albany, at which he entertained Burgoyne after his surrender, is shown in Lossing's Field-Book, i. 304; his Hudson River, p. 129; Mag. of Amer. History, July, 1884. Cf. Hours at Home, ix. 464. Of Mrs. Schuyler, the hostess, see account in S. B. Wister and Agnes Irwin's Worthy Women of our First Century (Philad., 1877). The mansion was sold in October, 1884, to be removed. A plan of Albany during this period (dated 1770) is in the Doc. Hist. N. Y., iii. 697.—Ed.
[728] The total losses in this campaign of the Anglo-British army were: British prisoners, 2,442; foreign prisoners, 2,198; General Burgoyne and staff officers (including six members of Parliament), 12; sent to Canada, 1,100; sick and wounded, 598; making the total surrendered, October 17, 1777, to be 6,350. Then there were taken prisoners before the surrender, 400; deserters, 300; lost at Bennington, 1,220; killed between September 17 and October 17, 1777, 600; taken at Ticonderoga, 413; killed at Oriskany, 300; giving an entire loss of 3,233,—which, with those surrendered, make a total loss of 9,583.
Besides the personnel, there were lost in the campaign, 6 pieces of cannon at Bennington; 2 pieces and 4 royals at Fort Stanwix; 400 set of harness; a number of ammunition wagons and horses; 5,000 stand of arms; 37 pieces of brass cannon, implements and stores complete, camp equipage, etc., etc.
[729] Captain John Montressor, a British "Chief Engineer of America" in the Revolution, who was with Putnam under Colonel Bradstreet in 1764, goes so far as to intimate (very likely without warrant) a still stronger reason for the general's inefficiency at Long Island and in the Hudson Highlands. In his journal (page 136), published by the New York Historical Society, 1882, speaking of the venality of the American "Rebel Generals", he says "Even Israel Putnam, of Connecticut, might have been bought, to my certain knowledge, for one dollar per day."
[730] Life and Times of General Philip Schuyler, by Benson J. Lossing, N. Y., 1872; Battles of the American Revolution, by General Henry B. Carrington, N. Y., 1876; Life and Correspondence of Lieutenant-General John Burgoyne, by Edward B. de Fonblanque, London, 1876; Burgoyne and the Northern Campaign, by Ellen Hardin Walworth, 1877; The Campaign of Lieutenant-General John Burgoyne and the Expedition of Lieut.-Col. Barry St. Leger, by William L. Stone, 1877; Addresses and Papers upon Major-General Philip Schuyler and the Burgoyne Campaign, by General J. Watts de Peyster, published variously, 1877-83; Centennial Celebration of the State of New York, 1879; Life of Major-General Benedict Arnold—his Patriotism and Treason, by Isaac N. Arnold, 1880; Sir John Johnson's Orderly Book, annotated by William L. Stone, with an introduction on his Life by General J. Watts de Peyster, and Sketch of the Tories or Loyalists by Colonel T. Bailey Myers, 1882; Hadden's Journal and Orderly Book, annotated by General Horatio Rogers, Providence, 1881; The Hessians in the Revolution, by Edward J. Lowell, 1884.
[731] Correspondence and Remarks upon Bancroft's History of the Northern Campaign of 1777, and the Character of Major-General Philip Schuyler, by George L. Schuyler; The Life and Times of Major-General Philip Schuyler, by Benson J. Lossing, LL. D.
[732] The Articles of Oct. 16, 1777, were as follows, viz.:—
"I. The troops, under Lieutenant-General Burgoyne, to march out of their camp with the honors of war and the artillery of the intrenchments, to the verge of the river where the old fort stood, where the arms and artillery are to be left; the arms to be piled by word of command from their own officers.
"II. A free passage to be granted to the army, under Lieutenant-General Burgoyne, to Great Britain, on condition of not serving again in North America during the present contest; and the port of Boston is assigned for the entry of transports to receive the troops whenever General Howe shall so order.
"III. Should any cartel take place, by which the army under General Burgoyne, or any part of it, may be exchanged, the foregoing article to be void as far as such exchange shall be made.
"IV. The army under Lieutenant-General Burgoyne to march to Massachusetts Bay, by the easiest, most expeditious, and convenient route; and to be quartered in, near, or as convenient as possible to Boston, that the march of the troops may not be delayed when transports arrive to receive them.
"V. The troops to be supplied on their march, and during their being in quarters, with provisions by General Gates's orders, at the same rate of rations as the troops of his own army; and if possible, the officers' horses and cattle are to be supplied with forage at the usual rates.
"VI. All officers to retain their carriages, bat-horses, and other cattle, and no baggage to be molested or searched; Lieutenant-General Burgoyne giving his honor that there are no public stores secreted therein. Major-General Gates will of course take the necessary measures for the due performance of this article. Should any carriages be wanted during the march, for the transportation of officers' baggage, they are, if possible, to be supplied by the country at the usual rates.
"VII. Upon the march, and during the time the army shall remain in quarters in Massachusetts Bay, the officers are not, as far as circumstances will admit, to be separated from their men. The officers are to be quartered according to rank, and are not to be hindered from assembling their men for roll-call and other necessary purposes of regularity.
"VIII. All corps whatever of General Burgoyne's army, whether composed of sailors, bateau-men, artificers, drivers, independent companies, and followers of the army, of whatever country, shall be included in the fullest sense and utmost extent of the above articles, and comprehended in every respect as British subjects.
"IX. All Canadians, and persons belonging to the Canadian establishment, consisting of sailors, bateau-men, artificers, drivers, independent companies, and many other followers of the army, who come under no particular description, are to be permitted to return there; they are to be conducted immediately by the shortest route to the first British port on Lake George, are to be supplied with provisions in the same manner as the other troops, and are to be bound by the same condition of not serving during the present contest in North America.
"X. Passports to be immediately granted for three officers, not exceeding the rank of captains, who shall be appointed by Lieutenant-General Burgoyne, to carry despatches to Sir William Howe, Sir Guy Carleton, and to Great Britain by way of New York; and Major-General Gates engages the public faith that these despatches shall not be opened. These officers are to set out immediately after receiving their despatches, and are to travel the shortest routes and in the most expeditious manner.
"XI. During the stay of the troops in Massachusetts Bay, the officers are to be admitted on parole, and are to be allowed to wear their side arms.
"XII. Should the army under Lieutenant-General Burgoyne find it necessary to send for their clothing and other baggage to Canada, they are to be permitted to do it in the most convenient manner, and the necessary passports granted for that purpose.
"XIII. These Articles are to be mutually signed, and exchanged to-morrow morning at nine o'clock, and the troops under Lieutenant-General Burgoyne are to march out of their intrenchments at three o'clock in the afternoon.
(Signed) Horatio Gates, Major-General.
(Signed) J. Burgoyne, Lieutenant-General.
"Saratoga, October 16th, 1777."
[733] A letter of Glover about the march, dated Cambridge, Jan. 27, 1778, is in the Sparks MSS. (lii. vol. iii.). The line of their march is shown in Anburey's Travels. Mrs. Hannah Winthrop's letter, Nov. 11, 1777, describing the entry of Burgoyne's army into Cambridge, is cited in Mrs. Ellet's Women of the Revolution, i. 96. A journal of the Northern campaign of 1777 (Oct. 6th to Nov. 9th), at which last date the writer "attended Mr. Burgoyne to Boston", is among the Langdon Papers, copied in the Sparks MSS. (lii. vol. ii.). The commander of the Eastern department at this time was Gen. Heath (Heath's Memoirs, p. 134; Hist. Mag., iii. 170; Mem. Hist. Boston, iii. 183). Letters of Burgoyne to Heath are in the Mag. of Amer. Hist., 1885, p. 482, etc. A letter of Burgoyne (copy) to the president of Congress, dated at Cambridge, Feb. 11, 1778, is in Letters and Papers, 1777-1780 (MSS. in Mass. Hist. Soc.). Burgoyne preferred charges against Capt. David Henley, an officer of the guard, for cruel behavior towards the prisoners. He was tried and acquitted. An Account of the Proceedings of a Court Martial held at Cambridge by order of Maj. General Heath for the trial of Col. David Henley, taken in short hand by an officer who was present, was published in London, 1778. The trial lasted from Jan. 20 to Feb. 25, 1778. The proceedings were also printed in Boston (Brinley Catal., nos. 4,024-25). The trial is epitomized in P. W. Chandler's Amer. Criminal Trials (ii. 59). There are jottings about the influence of the prisoners in Boston at the time in Ezekiel Price's diary in the N. E. Hist. and Geneal. Reg., October, 1865. The orders of Burgoyne issued in Cambridge are given in Hadden's Journal. Gen. Phillips commanded the convention troops after Burgoyne's departure. There are letters of Phillips in the Mag. of Amer. Hist., July, 1885, p. 91. The parole which the English and German officers signed, to keep within certain limits of territory, is in the Boston Public Library (Lossing's Field-Book, ii. 878, and Burgoyne's Orderly-Book). There are details of their life in Cambridge in Schlözer's Briefwechsel (iv. 341); the memoirs of Riedesel and Madame Riedesel; and in Eelking's Hülfstruppen. Cf. Lossing's Field-Book; Drake's Landmarks of Middlesex; and Mrs. Ellet's Domestic Hist. of the Amer. Rev. (N. Y., 1850), p. 85. A MS. copy of Nathan Bowen's Book of General Orders is in the Boston Public Library.—Ed.
[734] Bancroft, orig. ed., ix. 466, x. 126. Cf. Lafayette's Mémoires, i. 21; Hildreth's United States, iii. 237, 255; Lowell's Hessians, ch. 12.—Ed.
[735] Cf. also Geo. W. Greene in the Mag. of Amer. Hist., iii. 231; De Lancey in Jones's N. Y. during the Rev., i. 698.—Ed.
[736] Hadden's Journal, p. 397.
[737] Sparks, Washington, v. 144.
[738] Journals of Congress, ii. p. 18. Cf. Jones, N. Y. during the Rev. War, App. p. 699. Cf. further in Journals of Congress, ii. 343, 397; Pennsylvania Archives, vi. 162.—Ed.
[739] Lafayette told Sparks that there was the strongest circumstantial evidence that the British intended to take the troops, not to England, but to New York, the vessels not being provisioned for an Atlantic voyage, and that they claimed justification in this purpose because the Americans had themselves broken the convention. He also added that the British government would not ratify the convention, because they could not keep faith with rebels.
Much of the correspondence about the detention is copied in the Sparks MSS., no. lviii., part 2. The English files are in the War Office, London, in the collection "Quebec and Canada, 1776-1780;" and other papers are in the Headquarters or Carleton Papers.—Ed.
[740] There is a map of their route and a view of their encampment at this place in Anburey's Travels, which last is reproduced in Lossing's Field-Book, ii. 552. Cf. also the print as published by Wm. Lane, London, Jan. 1, 1789 (Catal. Cab. Mass. Hist. Soc., p. 89, no. 612). The command of the encampment in Virginia was given to Col. Theodorick Bland, Jr., and copies of some of his papers are in the Sparks MSS. (no. xli.). The Bland Papers, edited by Chas. Campbell, were published at Petersburg, 1840-43. Accounts of the troops' sojourn in Virginia are given by Anburey, Riedesel, and Eelking. Cf. also Jefferson's Writings (i. 212); lives of Jefferson, by Tucker (i. ch. 5), Randall (i. 232, 285), and Parton (p. 222); Howison's Virginia (ii. 250); Lowell's Hessians. On October 26, Jefferson had urged upon Washington the removal of the convention troops, as it might not be possible to protect them in case of an invasion of Virginia (Sparks MSS., lxvi.). In November the English troops were removed to Fort Frederick. Large numbers deserted (Sparks's Corresp. of the Rev., ii. 324).—Ed.
[741] By this exercise of sovereignty, the government of the United States unhesitatingly repudiated Major-General W. T. Sherman's agreement with Lieutenant-General Joseph E. Johnston, for the surrender of the Confederate Army, April 13, 1865, at Durham Station, North Carolina.
[742] "It matters little what terms are granted, if it be not intended to fulfil them." Mahon, vi. 278. Cf. Lecky, iv. 96.—Ed.
[743] 4 Force's Amer. Archives, vol. iii., iv., v., and vi.; Sparks's Washington (iv. 416); his Correspondence of the Rev. (i. 377); Heath's Memoirs, 47; Boynton's West Point; Duer's Stirling; Lossing's Schuyler, and Field-Book (ii. 135); and particularly Edward Manning Ruttenber's Obstructions to the navigation of Hudson's River; embracing the minutes of the secret committee, appointed by the Provincial convention of New York, July 16, 1776, and other original documents relating to the subject. Together with papers relating to the beacons (Albany, 1860), being no. 5 of Munsell's Historical Series.
[744] Among the Sparks maps at Cornell University are two sheets showing the Hudson River with soundings, in part at high tide and in part at half tide. They are each thirty inches long, and appear to be by the same draftsman. One of them is indorsed: "Drawn by the request and under the inspection of the Commissioners of Fortifications in the Highlands, Province of New York, by John Grenell." One shows Haverstraw Bay and Tappan Bay to a point above Dobbs Ferry, and indicates the site of Tarrytown. The other extends from Stony Point to "Polyphemes Island", below Newburgh. Constitution Island is called "Martler's Rock;" and beside Bunn's house, there is indicated at that point the block house, a "curtain fronting the river, mounting fourteen cannon", the wharf, barracks, storehouse, and commissioner's room, and landing place. West Point is opposite, unoccupied, and Moore's house is above. Fort Montgomery and a higher battery is delineated at "Poop Lopes Kill", and from it along the river towards West Point is the inscription: "By good information there is a waggon road from Poop Lopes Kill to West Point."
Another sheet contains "a plan of a fort proposed on the east of Fort Constitution, laid down by scale of twenty feet to an inch per Isaac Nicoll", and indorsed "Received May 10, 1776." Another has a distant view of fortifications, topping a range of hills, and is marked "Fort Montgomery." It is not clear what is meant by it.
There is in the same collection "A rough map of Fort Montgomery, showing the situation on Puplopes [sic] Point; ground plot of the buildings, etc., etc., Pr. T. P. No. 2", which is indorsed also "Plan of the works at Fort Montgomery, May 31, 1776, no. 2." Mr. Sparks has written upon the original draft, "For an explanation see Ld. Stirling's letter to Washington, dated June 1, 1776."
There are likewise two plans in colors among the Sparks maps at Cornell University, marked "No. 1" and "No. 3", which seem to have been made in 1776. The first shows the Hudson River from Stony Point to Constitution Island. West Point, which is opposite, is not named. It bears no indorsement and no names, but in one corner is a profile view of the bank in the neighborhood apparently of Peekskill. The works on Constitution Island are indicated, and Sparks has noted on it, "See Ld. Stirling's letter to Washington, June 1, 1776." The other plan shows the neighborhood of Fort Constitution (opposite West Point) on a larger scale, a sketch of which, reduced, is given herewith and marked "Constitution Island, 1776." Cf. the map from the American Archives in Boynton's West Point, p. 26.
[745] For this period see 4 Force, vol. v.; Heath's Memoirs; Sparks's Gouverneur Morris (i. ch. 5); lives of Putnam; Almon's Remembrancer; histories of New York, city and province. There is much of detail with references in Dawson's Westchester County, during the American Revolution (Morrisania, 1886), p. 159, etc., particularly as respects the political influence of the provincial congress and the treatment of suspected persons. This book, for the period covered by it, is one of the thoroughest pieces of work respecting the history of the Revolution; but it is unfortunately marred by a captious and carping spirit, so characteristic of Dawson's historical work. This monograph is a separate issue of a portion of a History of Westchester County, by several hands.
[746] Johnston's Campaign of 1776, p. 91. This lighthouse was built in 1762. There is a view of it in the N. Y. Mag., Aug., 1790.
[747] Persifer Frazer to his wife, May 23-June 29, 1776, in Sparks MSS. (no. xxi.). General Glover's letters in Upham's Glover. Others in 5 Force, ii. Colonel Joseph Hodgkin's in Ipswich Antiquarian Papers, vols. ii. and iii. Letter of Samuel Kennedy in June, in Penna. Mag. of Hist. (1884, p. 111). Cf. Diary of the Moravian Ewald Gustav Schaukirk, 1775-1783, in Ibid., x. 418. In July, the statue of George III. in Bowling Green was pulled down. P. O. Hutchinson's Gov. Hutchinson, ii. 167. George Gibbs's account of the statue in N. Y. Hist. Soc. Proc., 1844, p. 168.
[748] Jones's N. Y. during the Rev., i. ch. 6. Some of the British frigates ascending the Hudson in July, an attempt was made to destroy them. Worcester Mag., i. 353; Hist. Mag., May, 1866, Suppl., p. 84. Dawson (Westchester County, 192, 207, 213, 214, 215, 216) goes into detail, faithfully citing all the authorities.
[749] Cf. Bellin's Petit Atlas Maritime (1764), vol. i.
[750] Cf. a MS. map by John Montresor, surveyed by order of General Gage, and dated Sept. 18, 1766, which is among the Faden maps (no. 96) in the library of Congress. A plan by Montresor in 1775 of New York et Environs, with the harbor in the corner in much detail, measuring about 48 inches wide by 22 high, is among the Rochambeau maps (no. 23) in the same library.
[751] A Draught of New York harbor from the Hook to New York town, by Mark Tiddeman, was issued by Mount and Page in London, and is reproduced in Valentine's New York City Manual, 1855. (Cf. also Ibid., 1861, p. 628.) There is another (1776) in the North American Pilot, no. 24, which was published separately as A Chart of the Entrance of Hudson's River from Sandy Hook to New York, with the banks, etc. (London, Sayer and Bennett, June 1, 1776). One was made in 1779 by Robert Erskine; and another is contained in the Neptune Americo-septentrional, no. 19.
A map of New York and Staten Island, with intervening waters, made by order of General Clinton in 1781, is noted in the King's Maps (Brit. Mus.), ii. 355. Cf. N. Y. City Manual, 1870, p. 845. A MS. draft of Long Island Sound and the entrance of New York harbor is among the Faden maps (no. 54) in the library of Congress.
[752] Known as the Hickey Plot. It is detailed in the Minutes of the trial and examination of certain persons in the Province of New York, charged with being engaged in a conspiracy against the authority of the Congress and the liberties of America (London, 1786,—Menzies, no. 1,400), which was reprinted (100 copies) as Minutes of Conspiracy against the liberties of America, at Philadelphia in 1865. The ringleader was one of Washington's life guard, Thomas Hickey, who was hanged in June, 1776. David Matthews, the mayor of New York, was implicated, and Governor Tryon was charged with a knowledge of the plot. Matthews was arrested and confined in Connecticut (Orderly-book of Sir John Johnson, 214, 215). Cf. N. Y. in the Rev. (papers in N. Y. Merc. Library), p. 66; Irving's Washington, ii. 232; N. E. Hist. and Geneal. Reg., xxiii. 205; Johnston's Campaign of 1776, Doc. 129.
[753] N. E. Hist. and Geneal. Reg., Jan., 1866, p. 69.
[754] Sparks's Washington, iii. 451; Journals of Congress, June 3 and July 19, 1776; Journal of Algernon Roberts on an expedition to Paulus Hook, in Sparks MSS., no. xlviii.; Johnston's Campaign of 1776, p. 113. The New Jersey militia were acting in concert under Livingston. There is a journal of a Lieut. Bangs among them, from April to July. N. Jersey Hist. Soc. Proc., viii.
[755] Cf. letter, Aug. 4, from Staten Island, in Lady Georgiana Cavendish's Mem. of Admiral Gambier, copied in Hist. Mag., v. 68.
[756] Naval Chronicle, xxxii.
[757] Greene's Greene, i. 158.
[758] Col. Moses Little's, beginning April 30, 1776, belonging to Benj. Hale, of Newburyport, Mass., including orders of Greene and Sullivan; the latter's orders of Aug. 25 are in Hist. Mag., ii. 354, and Col. Wm. Douglas's, belonging to Benj. Douglas of Middletown, Conn. That of Capt. Samuel Sawyer, Aug. 22-Nov. 27, is in the Mass. Archives. Cf. Journals of the New York provincial congress. Greene's apprehensions as to the situation on Long Island in the early summer of 1776 can be got from his letters in Greene's Life of Greene, ii. 420, etc.
[759] 5 Force, i. 1244, ii. 196; Sparks, iv. 59; Field, 383; Johnston, Docs., p. 32.
[760] Sparks, iv. 513; Dawson, i. 150.
[761] Field, 369; Dawson, i. 156; Penna. Hist. Soc. Bull., i. no. 8; Sparks, iv. 517.
[762] Gen. Parsons to John Adams, Aug. 29 and Oct. 8, in Johnston. Smallwood's, Oct. 12, in 5 Force, ii. 1011; Field, 386; Dawson, i. 152; Ridgeley's Annals of Annapolis, App. Stirling to Washington in Dawson, i. 151; Duer's Stirling, 163; Sparks, iv. 515. Col. Haslet's in Sparks, iv. 516; Dawson, i. 152. Col. Chambers's, Sept. 3, in Chambersburg in the Colony and the Revolution; Field, 399. Col. Gunning Bedford's and Cæsar Rodney's in Read's George Read, 170. Letters of Pennsylvania soldiers in 2 Penna. Archives, x. 305.
[763] Col. Samuel J. Atlee's in 2 Penna. Archives, i. 509; 5 Force, i. 1251; Field, 352; Life of Joseph Reed, i. 413. Samuel Miles's, in 2 Penna. Archives, i. 517.
[764] Graydon's Memoirs, ch. 6; Mem. of Col. Benj. Talmadge (N. Y., 1858), cited in Johnston. James Sullivan Martin's Narrative of some of the adventures of a revolutionary soldier (Hallowell, 1830, p. 219), cited in Field, 507. Brodhead in 1 Penna. Archives, v. 21, cited by Johnston. Hezekiah Munsell's account in Stiles's Ancient Windsor, Conn., 714. Cf. further, N. Y. Hist. Soc. Coll., 1875, p. 439; Onderdonk's Rev. Incidents in Queens County; S. Barclay's Personal Recollections of the American Revolution (? fiction).
[765] Freeman's Journal and Penna. Journal, quoted in Moore's Diary, i. 295-297. Dr. Stiles's diary, giving the news as it reached him, is cited by Field and Johnston.
[766] Gazette Extraordinary, Oct. 10, also in 5 Force, i. 1255-56; Naval Chronicle (1841); Field, 378; Moore's Diary, 300; Dawson, i. 154. Howe's letters during this campaign are in the Sparks MSS., no. lviii.
[767] Israel Mauduit's Remarks upon Gen. Howe's account of his proceedings on Long Island (London, 1778). Howe defended himself in his Narrative of his Conduct in America. Field (p. 460) gives the parliamentary testimony, and the examination of Howe's statements (p. 471) from the Detail and Conduct of the Amer. War (3d ed., 1780, p. 17). There were mutual criminations by Howe and the war minister, Lord George Germain. Cf. Stedman, i. 193; Smyth's Lectures on Modern Hist. (Bohn ed., ii. 463-65); Parliamentary Reg., xi. 340; Almon's Debates, xii.; Almon's Remembrancer, iii. A loyalist's view of the opportunity lost in not forcing the American lines is in Jones's N. Y. during the Rev., i. 112. Johnston (p. 185) points out how the English did the real fighting, while the Hessians joined in the pursuit. Major James Wemys, an officer of the British army serving in America, dying in New York in 1834-35, left papers, which were copied by Sparks while in the hands of Rev. Wm. Ware (Sparks MSS., xx.). They include his estimates of various generals of the British army; strictures on the peculations of some of them; including criticisms of Howe's conduct in the fights at Long Island, Whiteplains, and Trenton.
[768] Naval Chronicle, xxxii., 271. Field (p. 407) gives G. S. Rainer's account from the journals of Collier. Cf. Ithiel Town's Particular Services (N. Y., 1835).
[769] Evelyns in America, pp. 266, 325. Lushington's Lord Harris, cited by Field (p. 405). A letter of Earl Percy, Newtown, on Long Island, Sept. 1, in which he says that the English loss was 300, the American 3,000, with 1,500 privates, beside officers, taken prisoners, and "he flatters himself that this campaign will put a total end to the war" (MSS. in Boston Pub. Library). The Hist. MSS. Com., 2d Report, p. 48, shows a letter of Sir John Wrottesley to his wife, dated Long Island, Sept. 3.
[770] Eelking's Hülfstruppen, ch. 1; Lowell's Hessians, p. 58; and the appendix of Field. There is a French view in Hilliard d'Auberteuil's Essais, vol. ii.
[771] Bancroft made some adverse criticisms of Greene in his orig. ed., ix. ch. 4. George W. Greene replied in a pamphlet, which he has reprinted in his Life of Greene, vol. ii., in which (book ii. ch. 7) he gives his own version of the battle. Cf. Hist. Mag., Feb. and Aug., 1867.
[772] Respecting the retreat, Washington had ordered Heath (5 Force, i. 1211) to send down boats from up the Hudson, which he did (Heath, Memoirs, 57). Washington's reasons for a retreat are told in a letter of Joseph Reed, Aug. 30th, to Wm. Livingston, given in Sedgwick's Livingston, 201. (Cf. Sparks, Washington, iv. 81.) Johnston collates the authorities upon the reasons (p. 215), and thinks Gordon's account the most probable, that the American lines were unfit to stand siege operations, which Howe had begun. The proceedings of the council of war (Aug. 29th) which decided upon the retreat are in 5 Force, i. 1246, and in Onderdonk's Rev. incidents in Suffolk County, p. 161.
Bancroft (final revision, v. 38) and Wm. B. Reed (Life of Jos. Reed, i. 121-126) are at issue upon the point whether the lifting of the fog, which revealed the purpose of the English ships to get between Brooklyn and New York, took place before the retreat was ordered, or after it was nearly over. Bancroft's witnesses seem conclusive against the claim of W. B. Reed that such a revelation induced Joseph Reed to urge the retreat upon Washington (note in Bancroft, orig. ed., ix. 106; final revision, v. 38). Joseph Reed's own account is in Sedgwick's Livingston, 203. Cf. Johnston, ch. 5. Col. Tallmadge (Memoirs, p. 11) says that Washington never received the credit which was due to him for his wise and fortunate retreat from Long Island.
[773] Dawson (Westchester Co., 224) puts the British army at over forty thousand men when the campaign opened. Beatson's Naval and Mil. Memoirs, vi.; 5 Force, i.; Bancroft, orig. ed., ix. 85-90; final revision, v. 28; Johnston, 195-201, and Docs., p. 167, 176, 180; De Lancey in Jones's N. Y. during the Rev., 600. There is a MS. on the prisoners taken noted in the Bushnell Catal. (1883), no. 791. Lecky (England in the XVIIIth Century, iv. 2, N. Y. ed.) says: "The English and American authorities are hopelessly disagreed about the exact numbers engaged, and among the Americans themselves there are very great differences. Compare Ramsay, Bancroft, Stedman, and Stanhope, [Mahon]."
There has been a controversy over the death of Gen. Woodhull, who was captured a few days later, and killed, as was alleged, while trying to escape. Cf. 5 Force, ii., iii. (index); De Lancey in Jones, ii. chap. 20, and p. 593; Johnston's Observations on Jones, p. 73; Luther R. Marsh's Gen. Woodhull and his Monument (N. Y., 1848); Hist. Mag., v. 140, 172, 204, 229; Henry Onderdonk, Jr.'s Narrative of Woodhull's Capture and death (1848).
[774] Mercy Warren's Amer. Revolution; Bancroft, ix. ch. 4 and 5; final revision, v. ch. 2; Lossing's Field-Book, ii.; Gay's Pop. Hist. U. S., iii. ch. 20, etc.
[775] Lives of Washington by Marshall, ii. ch. 7; by Sparks, i. 190; by Irving, ii. ch. 31, 32; of Sullivan by Amory, p. 25; of Stirling by Duer; of Olney by Williams; of Burr by Parton, i. ch. 8, etc.
[776] Most elaborate of such is R. H. Stiles's Hist. of Brooklyn (p. 242). Cf. Thompson's Long Island; Strong's Flatbush; Henry Onderdonk, Jr.'s Kings County. Letters of Onderdonk to Sparks in 1844, on the battle, are in the Sparks MSS., no. xlviii. There is a paper by the Rev. J. W. Chadwick, of Brooklyn, in Harper's Mag., liii. p. 333. Cf. Hollister's Connecticut, ii. ch. 11. A personal narrative of Thomas Richards, a Connecticut soldier, is in United Service (Aug., 1884), xii. 216.
[777] The earliest special treatment is Samuel Ward in Battle of Long Island (1839; also see Knickerbocker Mag., xiii. 279). Field's monograph makes vol. ii. of the Memoirs of the Long Island Hist. Soc., and nearly half the volume is an appendix of documents. The Campaign of 1776 round New York and Brooklyn (Brooklyn, 1878), by Henry P. Johnston, makes vol. iii. of the same series, and chapter 4 is given to the subject, and his narrative is well fortified by documentary proofs. In placing the responsibility of the defeat, he takes issue (p. 192) with Bancroft, Field, and Dawson, who charge it upon Putnam. Dawson (Battles, i. 143) gives numerous references. Carrington's Battles of the Amer. Rev. (ch. 31 and 32).
[778] Annual Reg., xix. ch. 5; Parliamentary Reg., xiii.; The Impartial Hist. of the late War; Andrews's Late War, ch. 21; Stedman's Amer. War, ch. 6; Bissett's Reign of George III., i. 401, also speaks of the retreat as "masterly;" Knight's Pop. Hist. England, cited in Field, 447, and Mahon's.
[779] John Adams's Works, ix. 438; letters of Franklin and Morris to Silas Deane, Oct. 1, 1776, noted in Calendar of Lee MSS., p. 7; Stuart's Jona. Trumbull; Sedgwick's Wm. Livingston, 201; Donne's Corresp. of George III. and Lord North, vol. ii.; Rockingham and his Contemp., ii. 297; Russell's Life of Fox, and Memorials and Corresp. of Fox, i. 145; Walpole's Last Journals, ii. 70.
[780] This map of Hill's is reproduced in Valentine's Manual, 1857, and in Dunlap's New York (vol. ii.).
[781] Campaign of 1776, p. 84.
[782] Letters from America, p. 429.
[783] Smith tells us that in 1766 a line of palisades, with block-houses, still stretched across New York Island, near the line of the present Chambers St., which had been built in the French war, at a cost of about £8,000. Crèvecœur described the town in 1772, and his description is translated in the Mag. of Amer. Hist., ii. 748. Cf. Dawson's account in his New York during the Revolution. There are various views of the town during the revolutionary period. One from the southeast and another from the southwest, by P. Canot, 1768, are reëngraved in Hough's translation of Pouchot (ii. 85, 88). Cf. Doc. Hist. N. Y., octavo, ii. 43. There are others in the travels of Sandby and Kalm. See Moore's Diary of the Amer. Rev., p. 311; Valentine's Manual, 1852, p. 176; Appleton's Journal, xii. 464. A view of New York as seen from the bay, found among Lord Rawdon's papers, is given in Harper's Mag., xlvii. p. 23. Gaine's N. Y. Pocket Almanac, 1772, has "Prospect of the City of N. Y." A bird's-eye view of the island, as seen from above Fort Washington in 1781, is in Valentine's Manual, 1854. This last publication contains various views of revolutionary landmarks, a of Hellgate (1850,—cf. London Mag., April, 1778); the Battery and Bowling Green (1858, p. 633); the City Hall (1856, p. 32; 1866, p. 547); the Beekman house, headquarters of Sir William Howe in Sept., 1776 (1861, p. 496,—see also Gay, Pop. Hist. U. S., iii. 503); the Rutgers mansion (1858, p. 607); Lord Stirling's house (1854, p. 410); Alexander Hamilton's house (1858, p. 468). Knyphausen's quarters in Wall St. are shown in the Mag. of Amer. Hist., June, 1883, p. 409.
[784] Gordon shows this. Cf. Putnam's letter to Trumbull, Sept. 12, 1776.
[785] Correspondence of the Provincial Congress of N. Y.; Sparks's Washington, iv.; Memoirs of Chas. Lee; Dawson's N. Y. during the Rev., p. 82; Booth's New York, p. 493; Irving's Washington, ii. ch. 33; Johnston's Campaign of 1776, ch. 5; Carrington's Battles, ch. 33, and his paper in Bay State Monthly, March, 1884. An American orderly-book, Sept. 1-13, is among the Northumberland Papers, Alnwick Castle (Third Rept. Hist. MSS. Commission, p. 124). A copy of George Clinton's reasons against evacuating is in the Sparks MSS., no. xlix., vol. i. p. 10. Bancroft (ix. 175; final revision, v. 69) shows how Stedman and W. B. Reed are in error in supposing that Lee's counsels prevailed in ordering a retreat.
[786] Cf. Washington's views, 5 Force, ii. 495, and Niles's Principles and Acts, etc. (1876 ed.), p. 464. "As the army now stands", said Knox in 1776, "it is only a receptacle for ragamuffins" (Drake's Knox, 32). Cf. Greene's Life of Greene, i. ch. 6. The British army was perhaps nearly double in numbers. On the extent of the opposing armies, see 5 Force, i. and ii.; Carrington's Battles, p. 224; Johnston's Campaign of 1776, ch. 3; Jones's N. Y. during the Rev. War, i. App. 599. On Oct. 3d a committee of Congress reported on the condition of the army around New York (5 Force, ii. 1385), and Ibid. (iii. 449) there is a return of the entire army made Nov. 3d.
[787] Original sources: Evidence of the Court of Inquiry in 5 Force, ii, 1251; Washington to Congress in Sparks, iv. 94; Greene to Cooke, Sept. 17th, in 5 Force, ii. 370 (cf. Green's Greene, i. 216); Cæsar Rodney to Read, Sept. 18th, in Life of George Read, 191; Smallwood, Oct. 12th, in 5 Force, ii. 1013; letter of Nicholas Fish, Sept. 19th, in Hist. Mag., xiii. 33; letter, Sept. 24th, in Evelyns in America; Major Baurmeister's account, Sept. 24th, in Mag. of Amer. Hist., Jan., 1877, p. 33 (Johnston, p. 95),—a MS. owned by Bancroft; Rufus Putnam's Memoirs (Johnston, p. 136); Heath's Memoirs, p. 60; Jas. S. Martin's Narrative (Johnston, Doc., p. 81). Cf. note on the authorities in Bancroft, orig. ed., ix. p. 122; also Gordon, ii. 327. Later accounts: Johnston, pp. 92, 232; De Lancey in Jones, App. p. 604; Irving's Washington, ii. 333.
Captain Nathan Hale, of the Connecticut troops, had been sent over to Long Island to discover the intentions of the enemy; but, being apprehended, was hanged as a spy, Sept. 22, 1776. Cf. Hinman's Connecticut during the Rev., 82, and other histories of Connecticut; I. W. Stuart's Life of N. Hale, Hartford, 1856, and New York, 1874; Memoir of N. Hale, New Haven, 1844; Lossing's Two Spies (N. Y., 1886); Moore's Diary of the Rev., p. 314; Songs and Ballads of the Rev., 130; Worcester Soc. of Antiquity Proc., 1879; H. P. Johnston in Harper's Monthly, June, 1880 (vol. lxi. p. 53); Greene's Hist. View, 338; and references in Poole's Index, p. 566. Congress voted him a monument. Poore's Descriptive Catal., etc., index, p. 1294.
[788] See the plan in Johnston's Campaign of 1776 (ch. vi. p. 259), with topography based on Randall's map and old surveys.
[789] There is in the N. Y. Hist. Soc. a contemporary view of Harlem from Morrisania (1765), drawn from an original in the British Museum, and this is reproduced in Valentine's Manual, 1863, p. 611. (Cf. King's Maps, Brit. Mus., i. 476.)
[790] Original sources: Washington's letter to Congress, in Dawson, i. 163, and Sparks, iv. 97; Geo. Clinton's letter in Dawson, i. 164, and in Dawson's N. Y. City during the Rev. (1861), 108; General Silliman's in App. of Jones's N. Y. during the Rev. War, p. 606; John Gooch's in N. E. Hist. and Geneal. Reg., July, 1876, p. 334; original documents in Mag. of Amer. Hist., iv. 375; viii. 39, 627; and in 5 Force, ii.
On the British side, Gen. Howe's letter is in Dawson, i. 165; a letter (Sept. 22d) in the Lord Wrottesley MSS., noted in Hist. MSS. Com. Second Rept., p. 48; and Lushington's Lord Harris, p. 79. Later accounts: Johnston, Campaign of 1776; Dawson's Battles, i. 160, and his account in the N. Y. City Manual, 1868, p. 804; Carrington's Battles, ch. 34; Lossing's Field-Book; Gay, iii. 509; J. A. Stevens in Mag. of Amer. Hist., iv. 351, vi. 260,—also see vii., viii. 39; E. C. Benedicts Battle of Harlem Heights (N. Y., 1881), read before the N. Y. Hist. Soc., 1878; John Jay's Centennial Discourse, 1876, with App. of documents, including extracts from Stiles's diary; Smyth (Lect. Mod. Hist., Bohn's ed., ii. 459) on Washington's proposed Fabian policy. Cf. also Greene's Greene, Reed's Joseph Reed, i. 237; Colonel Humphrey's Life of Putnam; Memoirs of Col. Tench Tilghman (Albany, 1876). Letters of Tilghman and others at this time, copied from the papers in the N. Y. Hist. Soc., are in the Sparks MSS., no. xxxix. Cf. histories of New York city. The amplest details of the movements which led to the actions at Harlem, of the various changes thereabouts, and of the later retreat to White Plains will be found in Dawson's Westchester County, p. 229 et seq., abundantly fortified with references.
[791] Cf. current accounts from the newspapers in Moore's Diary, p. 311. A popular colored print published in Paris not long afterwards assigned the cause to American incendiaries (Dufossé's Americana, 1879, no. 5,480). There is in Valentine's Manual, 1866, p. 766, a diagram marking the spread of the fire in 1776 compared with that of 1778. A view of Trinity Church, in New York, as ruined by the fire, is given in Harper's Mag., xlvii. p. 24; Valentine's Manual, 1861, p. 654; and Gay, iii. 510.
[792] There were reports at the time that the British troops had set the fire. Read's George Read, p. 196. De Lancey (Jones, i. p. 611) collates the accounts, both British and American, citing that of Henry, who had just been brought by water from Quebec, and who saw it from the transport, as one of the best descriptions (Henry's Campaign against Quebec). Sparks (iv. 100, 101) gives a note to Washington's account. Howe's account is in 5 Force, ii., with other documents. Cf. J. C. Hamilton's Republic, i. 127; Reed's Joseph Reed, 1, 213. Mahon (Hist. England, vi. 116) believes it was not set. Lecky (England in Eighteenth Century, iv. p. 5, with references), who is usually very considerate in his criticisms, cites Washington's desire to burn New York as a sort of justification of the British burning of Falmouth and Norfolk; but he fails to distinguish between such wanton, isolated destruction and one of strategical use.
[793] The original map is entitled A Plan of the Operations of the king's army under the command of General Sir William Howe, K. B., in New York and East New Jersey against the American forces commanded by General Washington from the 12th of October to the 28th of Nov., 1776, wherein is particularly distinguished the engagement on the White Plains, the 28th of October, by Claude Joseph Sauthier. Engraved by Wm. Faden, 1777. Published Feb. 25, 1777. The original MS. draft is among the Faden maps (library of Congress), no. 58. The engraved map is given in fac-simile in Dawson's Westchester County, p. 227. The direction of the American movements is indicated by arrows on the broken line (— — — —), and triple lines ≡ mark camps and positions. The British marches are shown by line and dot (—·—·—·) and their camps by □.
The American army extended from Fort Washington to Kingsbridge, when Howe began a movement to threaten their communications with the upper country. Leaving Percy to cover New York at McGowan's Pass, near Bloomingdale (A), the British embarked at Turtle Bay, Harlem, and Long Island (B) in detachments which landed at Frog's Neck (D, under cover of the "Carysfoot", man-of-war, C) on Oct. 12, 16, and 17, when the Americans (at E) on the 12th broke down the bridge in their front across the marsh, and retired part towards Kingsbridge and part towards New Rochelle. A MS. "Survey of Frog's Neck and the route of the British army to the 24th of Oct., 1776, by Charles Blaskowitz", on a scale of 2,000 feet to an inch, is among the Faden maps (no. 57) in the library of Congress. The British now proceeded farther by water to Pell's Point (F), where they landed Oct. 18, and pushing forward had the same day a skirmish with the retiring Americans (H), and still farther pursued them and occupied the lower bank at Mamaroneck (M) while the Americans held the opposite bank, Oct. 22. That same day, Knyphausen with his Germans landed at Myer's Point (G), and moving forward took ground (at K), and remained there from Oct. 22 to 28, while close by (at J) the main body from Pell's Point were already in camp (Oct. 18-21), when, on the 21st, they moved forward and encamped under Heister and Clinton (at L), where they remained till Oct. 25, and then proceeded to N, where they stayed till Oct. 28.
Meanwhile, the Americans (at Z) had passed Kingsbridge, breaking it down after their passage, and then dividing into two detachments. One of these proceeded and occupied the ridge of land from X to the White Plains, intrenching at intervals along the summit running parallel to Bronx River. The other division proceeded north through Wepperham, and both reunited Oct. 25 within the lines at White Plains (Q). The British (at N) advanced on the same day, and formed, Oct. 28, opposite the American lines (at O), while on the same day Leslie attacked the American corps of Spencer (at P), and Oct. 29 the Americans occupied the lines at R, and Nov. 1 fell back across the Croton River. During Oct. 30, a part of Percy's force from Bloomingdale had come up, leaving the road as they came north at N, and joining the left of the British line, in place of the troops which after the fight of the 28th had encamped at S. The British now marched, part direct and part by Tarrytown, to Dobbs Ferry (T), where they were in camp Nov. 6, and proceeding south they were at U, Nov. 13. Dawson, Westchester County, 239, points out some errors in the names in this map, which were allowed to stand in Stedman's map, and in the first edition of Lossing's Field-Book. On the American side there is a Plan of the Country from Frog's Point to Croton River, showing the positions of the American and British armies from the 12th of Oct., 1776, until the engagement on the White Plains on the 28th, drawn by S. Lewis from the original surveys made by order of Washington, and published in 1807. It has been reproduced in Dawson's Westchester County, from the original edition of Marshall's Washington. Later eclectic plans can be found in the Life of Washington, by Sparks; in Hamilton's Republic of the United States, i. 132; and in Lossing's Field-Book, ii. 820-826.
For Washington's headquarters (Miller house) see Mag. of Amer. Hist., vii. 108; and for a view of Chatterton's Hill, Gay, iii. 514.
[794] Documents in 5 Force, ii. (statement of the regiments, 1,319) and iii.; Sparks's Washington, iv. 524-526, including Harrison's letter, which is also in Dawson, i. 183, as well as a letter of Col. Haslett to Gen. Rodney (i. 183). A letter in Johnson, Docs. p. 135. A letter of James Tilton (Brunswick, N. J., Nov. 20, 1776) to Cæsar Rodney, among the Pettit papers in the Amer. Philosophical Society, and a copy in the Sparks MSS. (lii. vol. ii.). Allen's diary in Smith's Pittsfield, Mass., i. 252. Memoirs of Heath, and the Rev. Services of Gen. Hull, ch. 4. Newspaper accounts in Moore's Diary, 335; and the statements of De Lancey in Jones, i. App. 621.
On the English side Howe's despatch (Nov. 30), which appeared in a Gazette of Dec. 30, is reprinted in Dawson, i. 184. This gave rise to Observations upon the Conduct of Sir Wm. Howe at the White Plains, London, 1779, known to be the work of Israel Mauduit, though published anonymously. It included Howe's despatch. In this he criticises Howe severely, as well as in his Three Letters to Lt.-Gen. Sir William Howe (London, 1781), with an appendix and map. When the brothers Howe, general and admiral, were appointed, it was Hutchinson's opinion (Diary, ii. 40) that "no choice could have been more generally satisfactory to the kingdom." Hutchinson (Ibid., ii. 121) at this time speaks of a letter from Major Dilkes (Nov. 3) describing the series of actions, in which he calls White Plains the principal one, and adds, "Though the king's troops had the advantaged pursuing them, it does not appear that the loss was much different." Stedman's account is in his ch. 7, and Eelking's in ch. 2 of his Hülfstruppen. Lowell in his Hessians uses several German accounts.
[795] Johnston, p. 262. Carrington, ch. 35. Bancroft, ix. ch. 10; final revision, v. ch. 3 and 5. Dawson, ch. 14. Lossing's Field-Book, vol. ii. For biographies: Washington, by Marshall, ii. ch. 8, and by Irving, ii. ch. 37. J. C. Hamilton's Republic, i. 132. Reed's Jos. Reed, i. ch. 12. Read's George Read, 210. Memoirs of Col. Benj. Tallmadge (N. Y., 1858). Dawson is still the amplest in detail. His list of authorities on the action at White Plains is one of his longest (Westchester County, 256, 271).
[796] Johnston's Map.—Percy advancing from McGowan's Pass (T), the several American outposts withdrew from Snake Hill (V), Harlem Plains (D D), and across the hollow way (U), and under Cadwallader resisted for a while the attack of Percy at W, till Lt.-Col. Stirling, dispatched from the redoubt at F F, and landing at X, threatened to intercept Cadwallader, when the Americans fell back to the lines above Fort Washington. Meanwhile, two columns of attack approached the fort from the other side. Cornwallis, embarking at Kingsbridge (B B), went down Harlem River and landed at A A, under cover of batteries at F F, and there attacked Col. Baxter at the redoubts, who retreated to the fort. Knyphausen and Rall, advancing also from Kingsbridge (B B) to Z, attacked Col. Rawling at Y, who also retreated to the fort. The immediate outworks being carried on all sides, the fort surrendered Nov. 16, 1776.
Sauthier-Faden Plan.—On the day of the fight at White Plains, Oct. 28, Knyphausen had left his camp (at K), and marching west had crossed above Kingsbridge; and had encamped, Nov. 2, at W. The Waldeck regiment stationed at New Rochelle had also marched, and Nov. 4 were at V, and then proceeded towards Wepperham. The same day a portion of the British under Grant, coming south from Dobbs Ferry, had left the main line at 4 and proceeded to 5 and 6, continuing their march next day to 7. The American outposts on Tetard's Hill withdrew to the works about Fort Washington, when Knyphausen threatened to cut them off. The siege and capture of Fort Washington now followed. This accomplished, Cornwallis embarked a part of his force at "Spiting Devil Creek" and part at 8, united them on landing, Nov. 18, at 1, and encamped that night at 2, the garrison of Fort Lee having already fled towards 3, whither Cornwallis followed them.
Note to the opposite Map.—This sketch follows A topographical map of the north part of New York Island, exhibiting the plan of Fort Washington, now Fort Knyphausen, with the rebel lines to the southward, which were forced by the troops under the command of the Rt. Honble Earl Percy the 16th Nov. 1776, and surveyed immediately after by order of his lordship by Claude Joseph Sauthier, to which is added the attack made to the north by the Hessians, surveyed by order of Lieut.-Gen. Knyphausen. London, Wm. Faden, March 1, 1777.
The broken lines (— — —) represent roads. The Hessians advanced from Westchester County by Kingsbridge, under Knyphausen, with detachments of his corps, the brigade of "Raille", and the regiment of Waldeck. They crossed the little stream L in two columns. That of Raille's [Rall, Rahl] mounted the hill, forced the battery of twelve-pounders and howitzers at H, and was joined before G by Knyphausen's column, which had followed up the stream. Both pushed on and carried the works at A. The British light infantry under Brig.-Gen. Matthews, to be supported by the grenadiers and 33d regiment under Cornwallis, landed at B under cover of batteries at E, whereupon the Americans on the hill at J retired to the main works. The 42d regiment under Lt.-Col. Stirling, with two battalions of the second brigade, crossed the river by the dot and dash line (·—·—) and landed at C as a feint, and advanced by the battery M. Earl Percy with a brigade of English and another of Hessians left the advanced posts of the British at McGowan's Pass, and following the main road (— — —) forced the successive American lines through their abatis (× × × ×) and attacked at D. Philip's or Dightman's bridge is at F. The British vessel "Pearl" at K assisted the attack at A. The buildings marked a were barracks erected for winter-quarters by the Americans, but burned by them when the British landed at Frog's Neck.
Sauthier's plan is included in The American Atlas, no. 23, and in Stedman (i. 210). Three MS. plans of the attack on Fort Washington, one of them surveyed by Sauthier on the day of the attack by order of Lord Percy, are among the Faden maps (nos. 59, 60, 61) in the library of Congress. The engraved map is reproduced in The Evelyns in America (p. 318), in Valentine's Manual, 1859, p. 120 (see 1861, p. 429), and in the Calendar of Hist. MSS. relative to the War of the Revolution (Albany, 1868), i. 532.
There is in the Geschichte der Kriege in und ausser Europa, Nuremberg, 1777, Sechster Theil, a folding plan of the operations on New York Island in the autumn of 1776, showing the attack on Fort Washington, "nun das Fort Knyphausen genannt" (see also "Achter Theil"). A German plan belonging to Mr. J. C. Brevoort, after an original preserved in Cassel, is given in the Mag. of Amer. Hist., Feb., 1877.
The leading American later accounts give eclectic plans,—Sparks's Washington, iv. 96, 160; Guizot's Washington; Carrington's Battles, p. 254,—but they include all the movements in the north part of the island. Cf. also Lossing's Field-Book, ii. 816, and Grant's British Battles, ii. 147.
A drawing found among Lord Rawdon's papers, representing the landing of the British forces under Cornwallis, Nov. 20, 1776, on the Jersey side of the Hudson, after the fall of Fort Washington, is given in Harper's Mag., xlvii. p. 25.
[797] Original sources: Documents in 5 Force, iii.; Washington to Congress in Sparks, iv. 178, and Dawson, i. 193; letters of Samuel Chase, Nov. 21-23, in the Sparks MSS., ix.; letter in Hist. Mag., March, 1874, p. 180; newspaper accounts in Moore's Diary, 345, 348; Graydon's Memoirs, 197; Heath's Memoirs, 86; Gordon's Amer. Rev., ii. 350; N. Hampshire State Papers, viii. 408. On the British side, Howe's despatch to Germain is in Dawson, i. 194; Lowell, in his Hessians, p. 80, uses German diaries (cf. Eelking's Hülfstruppen, i. 84).
Later accounts: Bancroft, orig. ed., ix. ch. 11; final revision, v. ch. 5; Johnston, 276; Carrington, ch. 37; Dawson, i. 188; Lossing's Field-Book, ii.; Gay, iii. 517.
G. W. Greene, in his Life of Gen. Greene, as it was the first military mistake of that officer, is at pains to treat the history of the siege at considerable length, enlarging upon antecedent events (i. ch. 10 and 11). Greene had urgently claimed that it was advisable to attempt to hold the fort, and letters giving his reasons are in Sparks's Corresp. of the Rev., i. 297, and Drake's Knox, 33. G. W. Greene holds that Gen. Greene had a right to expect a better defence, and championed his ancestor in a tract against the criticisms of Bancroft (Greene's Greene, ii. 431, 470), who put the responsibility of the disaster upon Green's persistent refusal to evacuate the fort. This Bancroft maintains in his original edition, and in his final revision, where, however, he recognizes, but does not deem essential to the British success, the treachery of Magaw's adjutant, William Demont. There had been an intimation in Graydon's Memoirs that Howe had been helped by some kind of faithlessness in the American ranks. In February, 1877, in the Mag. of Amer. Hist. (i. 65, 756), Mr. E. F. De Lancey first made public a letter of Demont written in 1792, in which he acknowledged having carried the plans of the fort to Percy, "by which the fortress was taken", and this information is thought to have induced Howe to make his sudden withdrawal from Washington's front at White Plains. De Lancey's paper was published separately as Capture of Mount Washington, 1776, the result of treason (New York, 1777), and he repeated the story in the notes (i. p. 626) to Jones's N. Y. during the Rev. War. Johnston (p. 283) doubts if this treachery was decisive of the result. Cf. further in lives of Washington by Marshall and Irving (ii. ch. 38, 40); Reed's Joseph Reed (i. ch. 13); and a paper by W. H. Rawle on the part taken by Col. Lambert Cadwalader, in the Penna. Mag. of Hist., April, 1886, p. 11. There is a portrait of Cadwalader in the Penna. Archives, vol. x. A letter (Dec. 23, 1778) of Robert Magaw on the surrender of Fort Washington is in the Sparks MSS., no. xlix. vol. iii. Cf. the account of Magaw in the Mag. of Western History, September, 1886, p. 678.
[798] Sparks, iv. 186; Greene's Greene, ch. 12. Cf. on Fort Lee Appleton's Journal, vi. 645, 660, 673, 688. Cf. the present volume, ch. v.
[799] There is a fac-simile of it in Valentine's Manual, 1864, p. 668. A German map is given in the Geschichte der Kriege in und ausser Europa (Nuremberg, 1776).
[800] A map was annexed to Israel Mauduit's criticism on Howe's conduct of this campaign, Three letters to Lt.-Gen. Sir Wm. Howe (London, 1781). Marshall gives maps in both the large and small atlases accompanying his Life of Washington. A MS. plan is in the Heath Papers (i. 224) in Mass. Hist. Soc. library.
[801] The Calendar of the Lee MSS., p. 8, shows a letter, Dec. 20, of Robert Morris, on the campaign's misfortunes, which is printed in the Diplomatic Corresp., i. 225.
[802] The Journal of Samuel Nash, Jan. 1, 1776, to Jan. 9, 1777; diary in Hist. Mag., Dec., 1863, covering Aug.-Dec., 1776; N. Fish's account in Ibid., Jan., 1869 (iii. 33). Rufus Putnam's journal in Mary Cone's Life of Rufus Putnam (Cleveland, 1886); Moravian Journals in N. Y. City, in The Moravian, 1876; Penna. Mag. of Hist., i. 133, 250; Johnston, p. 101. There is in The Evelyns in America (p. 319) a "Journal of the operations of the American army under Gen. Sir William Howe from the Evacuation of Boston to the end of the Campaign of 1776", by a British officer. Cf. Gent. Mag., Nov. and Dec., 1776. The letters of Maj. Francis Hutcheson are in the Haldimand Papers (Brit. Museum). Howe's letters to Germain are in the Sparks MSS., lviii., part 2. The military movements near New York are chronicled in papers in the London War-Office, "North America, 1773-1776."
Respecting New York city during this period, there are data in New York City during the American Revolution, being a Collection of original papers, now first published from MSS. in the possession of the Mercantile Library, with an introduction by H. B. Dawson (N. Y., privately printed, 1861), which includes an account by William Butler; and in papers in Valentine's Manual (1862, p. 652). Cf. Harper's Mag., xxxvii. 180, and Scribner's Monthly, Jan., 1876.
[803] Sparks's Washington, iii. 433; Corresp. of the Rev., i. 225; Wilkinson's Memoirs, i. ch. 2.
[804] 4 Force's Archives, vi., and 5, vols. i., ii., and iii.; Lossing's Schuyler, ii. 92; John Adams's Works, iii. 47.
[805] Various letters of this period about the army are in the Persifer Frazer Papers (Sparks MSS., xxi., from July 9 to Nov. 18, 1776); in the Gates Papers (copies in part among the Sparks MSS., xxii.); in the Schuyler Papers as used in Lossing's Schuyler, and as existing in the N. Y. Archives (copies in part in the Sparks MSS., xxix.). A letter of Thomas Hartley (Ticonderoga, July 19, 1776) in Mag. West. Hist., Sept., 1886, p. 677; one of Wayne (July 31) to Franklin in Sparks MSS., no. lvii. The N. H. State Papers, viii., 311, 315, 325-6, 329, throw light on the feelings of the adjacent country,—Col. Asa Potter seeking to throw the people upon Burgoyne's protection against the Indians. The N. H. Rev. Rolls, ii. 2, 22, show how troops were sent to Ticonderoga as the spring opened.
Orderly-books and army diaries of the period have been noted as follows: Col. J. Bagley's, Lake George (Amer. Antiq. Soc. Proc., new ser., i. 134). Col. Ruggles Woodbridge, Ticonderoga, Aug. 25 to Oct. 27, 1776 (Sparks MSS., lx. p. 317). Col. Wheelock's, Aug.-Nov., 1776 (in Mass. Archives). Anthony Wayne's Orderly book of the northern army, at Ticonderoga and Mt. Independence, from October 17th, 1776, to January 8th, 1777, with biographical and explanatory notes, and an appendix (Albany, 1859, being no. 3 of Munsell's historical series). It gives the daily orders issued by General Gates and himself. Letters of Wayne from Feb. to April, 1777 are in the St. Clair Papers, i. 384, etc. Moses Greenleaf, Ticonderoga, March 23 to April 4, 1777 (among the Greenleaf MSS., in Mass. Hist. Soc.).
Journal of Rev. Ammi R. Robbins [a chaplain in the American army] in the northern campaign of 1776 (New Haven, 1850). It extends from March 18 to Oct. 29, and covers a part of the retreat from Canada. Diary of Lieutenant Jonathan Burton, Aug. 1 to Nov. 29, 1776 (New Hampshire State Papers, xiv.).
[806] The original is among the Gates Papers (cf. Sparks MSS., xxii. and xxxix.). They are printed in Wilkinson's Memoirs (i. 83) and Sparks's Corresp. of the Rev. (i. 537).
[807] They are printed in 5 Force's Amer. Archives (ii. 1102); Dawson (i. 171, 172); Arnold's Arnold (p. 118). See also Sparks's Corresp. of the Rev. (i. App.), and 5 Force (vols. i., ii., iii.).
[808] Other contemporary American accounts are in Wilkinson's Memoirs (ch. 2); Trumbull's Autobiography (p. 34); Marshall's Washington (iii. ch. 1).
[809] Later accounts are in Cooper's Naval Hist.; Bancroft's final revision (v. ch. 4); Irving's Washington (ii. ch. 39); Lossing's Schuyler (ii. 116, 137), his Field-Book (vol. i.), and a paper in Harper's Monthly (xxiii. 726); Dawson's Battles (i. ch. 13); Arnold's Arnold (ch. 6); W. C. Watson in Amer. Hist. Record, iii. 438, 501 (Oct., Nov., 1774); Palmer's Lake Champlain (ch. 7); Wayne's Orderly-Book, where Arnold's tactics are particularly examined; a pamphlet, Battle of Valcour (Plattsburg, 1876); and Osler's Life of Viscount Exmouth. W. L. Stone in his notes to Pausch (p. 85) thinks the account by that German artillerist and that in Hadden's Journal as edited by Gen. Rogers are the best ones.
[810] A MS. draft of Brassier's survey (1762) is in the Faden collection, no. 20-1/2 in the library of Congress.
[811] Vol. i. p. 163; and for a view of the spot, p. 162.
[812] The catalogue of the Brit. Mus. additional MSS. (no. 31,537) refers to a similar map. See the map in The North American Atlas (1777). The original MS. draft of the map engraved by Faden is in the library of Congress (Faden collection, no. 21). There are maps of the lake in Wayne's Orderly-Book, and in Palmer's Lake Champlain. An elaborate survey of Lake Champlain, made in 1778-1779, one inch to the mile, is also among the Faden maps (no. 64,—the library of Congress).
[813] It was printed in the Gent. Mag., April, 1778. In the appendix of Fonblanque's Burgoyne it has the king's comments on it, and it was given in this way from a manuscript in the royal hand in Albemarle's Rockingham and his Contemporaries (ii. 330). Lord Geo. Germain's instructions to Carleton relative to the campaign are in the Gent. Mag., Feb., 1778. The Gent. Mag. (Oct., 1777, p. 472) warned the public of the difficulties which Burgoyne must expect to encounter.
[814] Comment from a British officer is in Anburey's Travels. Lecky (iv. 31) shows the way in which the army was raised. The organization of the army is explained in a chapter in Hadden's Journal. The details of the dispatching of troops are embraced in the volume "Secretary of State, 1776", War Office, London. The letter of Carleton to Germain, Quebec, May 20, 1777, expressing his chagrin at not being appointed to lead the expedition, but promising aid to Burgoyne, is printed in Brymner's Report on the Canadian Archives (1885, p. cxxxii.) with Germain's answer. Howe in New York had notified Carleton at Quebec, April 5, that he should not be able to communicate with Burgoyne. Walpole records in his Last Journals (ii. 160), "Lord George Germain owned that General Howe had defeated all his views by going to Maryland instead of waiting to join Burgoyne." There may have been a purpose to help create the impression of Burgoyne's destination, which that officer tried to spread, in professing to aim at Connecticut, when Howe in April sent an expedition, under Tryon, to Danbury, in Connecticut, to destroy stores. This was accomplished, but Wooster and Arnold pressed the returning party with vigor and inflicted a considerable loss. Wooster was killed. Congress ordered a monument to his memory (Journals, ii. 168. Cf. Deming's oration at the dedication of a monument in 1854, and Hinman's Connecticut during the Rev., 155). The contemporary accounts are Howe's despatch to Germain, and the narrative in the Connecticut Journal, April 30 (both given in Dawson's Battles, i. 217, 219); current reports in Moore's Diary, 423, 441; Trumbull's and Sullivan's letters in N. Hampshire State Papers, viii. 547, 549, 556; a letter of James Wadsworth, dated at Durham, May 1, 1777, in Trumbull MSS., vi. 94; with accounts in Jones's N. Y. during the Rev., i. 178, and Stedman's Amer. War, ch. 14. Marshall's account in his Washington was controverted by E. D. Whittlesey (N. Y. Hist. Coll., 2d ser., ii. 227). Cf. Sparks's Washington, iv. 404; Leake's Lamb, ch. xi., with a map; Stuart's Gov. Trumbull, ch. 27; Irving's Washington, iii. 47; I. N. Arnold's Gen. Arnold, ch. 7; Bancroft, ix. 346; Gay's Pop. Hist. U. S., iii. 543; Hollister's Connecticut, ii. ch. 12. For local associations see Dwight's Travels, iii.; Lossing's Field-Book, i. 407-416 (with views); Teller's Ridgefield, p. 69 (1878), with a view of the battlefield, April 27, 1777; C. B. Todd's Redding (1880, p. 47).
[815] These include the Riedesel Memoirs, Schlözer's Briefwechsel (iii. 27, 321, iv. 288), Eelking's, Deutsche Hülfstruppen (ch. 4). There is a letter from a Brunswick officer in Canada in J. H. Hering's Weeklijksche Berichten (Amsterdam,—noted in Muller's Books on America, 1877, no. 1,410).
[816] There is a contemporary broadside of it in the Mass. Hist. Soc. library, and it was printed for the English public in the Gentleman's Mag. in August. Walpole, in London, in August, records his opinion of it, "penned with such threats as would expose him to derision if he failed, and would diminish the lustre of his success if he obtained any" (Last Journals, ii. 130). The dates given to it vary from June 29th to July 4th. It will also be found in Anburey's Travels; Thacher's Military Journal; Moore's Diary (p. 454), from the Penna. Evening Post, Aug. 21; Fonblanque's Burgoyne (App. F); Riedesel's Memoirs; Hadden's Journal (p. 59); Proceedings of the Mass. Hist. Soc. (xii. 189) and N. Y. Hist. Soc. (Jan., 1872); Vermont Hist. Soc. Collections (i. 163); Niles's Register (1876 ed., p. 179); N. Hampshire State Papers, viii. 660. It instigated various burlesques (Moore's Diary, 459; his Songs and Ballads of the Rev., 167).
[817] A map by Montresor, made in 1775, showing the antecedent knowledge of the country, is given in the American Atlas.
A topographical Map of Hudson's River, ... also the Communication with Canada by Lake George and Lake Champlain, as high as Fort Chambly, by Claude Joseph Sauthier. Engraved by Wm. Faden, published (London) Oct. 1, 1776.
A map of the inhabited parts of Canada, from the French surveys, with the frontiers of New York and New England, from the large survey by Claude Joseph Sauthier, engraved by Wm. Faden (London), 1777. It is dedicated to Burgoyne, and in the margin is a table showing the various winter-quarters of the king's army in Canada in 1776. In 1777, Le Rouge, in Paris, reproduced Sauthier's drafts as Cours de la rivière d'Hudson et la Communication avec le Canada par le lac Champlain jusqu'au Fort Chambly. (Cf. the map in the Atlas Amériquain, no. 23.) Sauthier's surveys were also used in a map of New York and adjacent provinces, published at Augsburg in 1777, which is reproduced in Jones's N. Y. during the Rev. (vol. i.). The Gentleman's Mag., Jan., 1778, had a map of the Hudson River and the adjacent country. The London Mag., 1778, had a map showing the country between Albany and Ticonderoga. It was drawn by Thomas Kitchin, who in the same year made a map of the Hudson and adjacent parts from Albany to New York.
In 1780 (Feb. 1st) Faden published a more detailed map as drawn by Mr. Medcalfe, and called A map of the Country in which the army under Lieutenant-General Burgoyne acted in the Campaign of 1777, shewing the marches of the army and the places of the principal actions. (Cf. map in Stedman, reproduced in illus. ed. of Irving's Washington, iii. 93.)
The maps as given in Burgoyne's State of the Expedition from Canada (London, 1780) are those usually followed. The original MS. drafts of these, used for engraving them, are among the Faden maps (nos. 66-69) in the library of Congress. A general map of the campaign is given in Hilliard d'Auberteuil's Essais (i. 205).
There is in Hadden's Journal (p. 90) a drawn map of the campaign between Crown Point and Stillwater, showing the marches of the British army and the points of conflict. Among the Faden maps (nos. 62, 63) in the library of Congress is a MS. map of "Lake Champlain and Lake George, and the country between the Hudson and the lakes on the west and the Connecticut on the east." There are later and eclectic maps given in Gordon's American Revolution; Anburey's Travels; Neilson's Burgoyne's Campaign, used and corrected by Stone in his Campaign of Burgoyne; Carrington's Battles (312); Burgoyne's Orderly-Book; Mag. of Amer. Hist. (May, 1877).
[818] Thomson, Ohio Bibliog., no. 1,011; Brinley Catal., no. 4,135 ($50); Menzies, no. 1,741 ($65).
[819] Cf. also Ibid., ii., App. pp. 510, 513.
[820] The life and Public services of Arthur St. Clair, with his correspondence and other papers arranged and annotated by Wm. Henry Smith. The correspondence begins in 1771. H. P. Johnston thinks Smith too sweeping and injudicial in his editing (Mag. of Amer. Hist., Aug., 1882). St. Clair took command at Ticonderoga June 12th. Smith includes in his book the proceedings of the councils of war (pp. 404, 420), and the various letters of St. Clair, respecting his retreat, to Bowdoin (also in Mass. Hist. Soc. Proc., vi. 356), Hancock, Jay, Washington, and others (pp. 396, 414, 423, 425, 426, 429, 433). Cf. Dawson's Battles. St. Clair's letter, July 7th, at Otter Creek, to the president of the Convention of Vermont, is in N. H. State Papers, viii. 618.
[821] Sparks MSS., no. xxix. The papers of the trial of St. Clair are in Ibid., xlix., vol. ii. Congress ordered the inquiry (N. H. State Papers, viii. 649). There are other contemporary accounts of the evacuation in Moore's Diary of the Revolution (p. 470); Wilkinson's Memoirs (ch. 4 and 5); original documents in 5 Force's Archives, vols. i., ii., and iii., and in Mag. of Amer. Hist. (Aug., 1882); letter of Asa Fitch, Hist. Mag. (iii. 7); a diary among the Moses Greenleaf's MSS. (Mass. Hist. Society), beginning April 23, 1777, and ending Nov. 22d, near Philadelphia; a diary of Samuel Sweat (June 18, 1777, etc.) in Mass. Hist. Soc. Proc. (vol. xvii. 287). A letter of one Cogan complains of the unnecessary retreat (N. H. State Papers, viii. 640), and other accounts and comment of that day, in Sparks's Washington, vol. v.; Heath Papers (Mass. Hist. Soc. Coll.), p. 65. Cf. further, Lossing's Schuyler (ii. ch. 10, etc.); General Hull's Revolutionary Services (ch. 7); Dawson's Battles (ch. 20); Van Rensselaer's Essays; Jay's Life of Jay (i. 74); Sparks's Gouverneur Morris (i. ch. 8); J. C. Hamilton's Life of Hamilton (i. 79, 91); Hamilton's Works (i. 31); Sedgwick's Livingston (p. 233); Watson's Essex County, N. Y. (ch. 11); De Costa's Fort George; Smith's Pittsfield, Mass. (i. 282); Hist. Mag., Dec., 1862, July, 1867 (p. 303), Aug., 1869 (p. 84, by Hiland Hall); Lewis Kellogg's Hist. Discourse (Whitehall, 1847).
[822] Cf. Palmer's Lake Champlain and Watson's Essex County, N. Y.
[823] It is also in the St. Clair Papers, i. 76. See post, p. 352.
[824] Cf. further, Wilkinson's Memoir (ch. 5); Lossing's Schuyler (ii. 223), and his Field-Book (i. 145); Carrington's Battles (ch. 45); Henry Clark's Hist. Address, July 7, 1859 (Rutland, 1859); Stone's Beverley, Mass. (p. 75); Amos Churchill's Hist. of Hubbardton (1855); Hadden's Journal (App. no. 15); W. C. Watson in Amer. Hist. Record (ii. 455); beside such personal narratives as Enos Stone's Journal in N. E. Hist. and Geneal. Reg. (1861, p. 299,—he was made a prisoner), and the Narrative of the captivity & sufferings of Ebenezer Fletcher, of New Ipswich, who was severely wounded and taken prisoner at the battle of Hubbardston, Vt., in 1777, by the British and Indians (New Ipswich, N. H., 1813?).
There are letters of Stephen Peabody and Col. Bellows in N. H. State Papers, viii. 625. There is a British diary by Joshua Pell, Jr., published in the Mag. of Amer. Hist. (ii. 107).
[825] There is a composite map in Carrington's Battles (p. 322), and another in Lossing's Field-Book (i. 145), with a view of the battlefield (p. 146).
[826] Cf. Vermont Hist. Soc. Coll., i. 181, 182, where much will be found from the Council of Safety's records and in letters from Schuyler and Warner. Cf. also N. H. State Papers, viii. 658.
[827] An earlier letter of Willet, July 28th, warning the people at German Flats, is in the Mag. of Amer. Hist. (1884), p. 285. Cf. also Wm. M. Willet's Narrative of the Military actions of Col. Marinus Willet (N. Y., 1831), for Willet's hasty and his more leisurely accounts, which differ somewhat in minor details.
[828] This orderly-book was originally printed in the Mag. of Amer. Hist. (March and April, 1881). The appended essays are incisive expressions of individual views at variance with general beliefs (cf. Mag. of Amer. Hist., March, 1883, p. 219), De Peyster defending Johnson, who was his great-uncle, from the charge of violating his parole, and Myers agreeing with him.
[829] It is reprinted in the Cent. Celebrations of N. Y. (1879, p. 55), where will be found other addresses and engraved views of the present aspect of the scene of the conflict (pp. 91, 127). These local associations are also traced in S. W. D. North's "Story of a Monument" in the Mag. of Amer. Hist. (xii. 97,—Aug., 1884; cf. also vol. i. p. 641), giving views of the monuments, a suspicious portrait of Herkimer (p. 103), and a view of Herkimer's house (p. 111,—cf. Lossing, i. 260). On the various spellings of Herkimer's name, see Mag. of Amer. Hist., Aug., 1884, p. 283. Measures for erecting a monument to him are recorded in N. Y. Hist. Soc. Proc., 1845, p. 172. The later writers are H. R. Schoolcraft in the N. Y. Hist. Soc. Proc. (1845, p. 132); Bancroft (ix. 378); Irving's Washington (iii. ch. 15, 16, 17); Lossing's Schuyler (ii. 273), and his Field-Book (vol. i.); I. N. Arnold's Benedict Arnold (ch. 8); J. W. De Peyster in Hist. Mag. (xv. 38) and Mag. of Amer. Hist. (ii. 22); T. D. English in Harper's Monthly (xxiii. 327); H. C. Goodwin's Pioneer History of Cortland County; Benton's Herkimer County (ch. 5); Campbell's Tryon County (ch. 4); Pomroy Jones's Annals of Oneida County, with some local touches; Ketchum's Buffalo; S. W. D. North's "Historical Significance of the Battle" in the Mag. of Amer. Hist. (i. 641); the appendix of Hadden's Journal (no. 17) for La Corne St. Luc; Hull's Revolutionary Services (ch. 8); Dawson's Battles (i. ch. 21); Carrington's Battles (ch. 45). The German accounts are given in Eelking's Die Deutschen Hülfstruppen, with more prominence naturally from the Hessian participants than the English or American narratives afford; and in Frederick Kapp's Die Deutschen im Staate New York (N. Y., 1884), equally glowing for his countrymen under Herkimer, on the other side. Cf. Lowell's Hessians. The story of Hanyost Schuyler's carrying a deceitful message from Arnold, which Dr. Belknap in 1796 picked up on the spot (Mass. Hist. Soc. Proc., xix. 408), and as told in Dwight's Travels (iii. 183), in Benton's Herkimer County (p. 82), and other later books, is denied by Dawson (i. 247).
[830] Gent. Mag., Mar., 1778; Burgoyne's State of the Expedition; App. to Roberts's Address; Dawson, i. 250; Cent. Celebrations of N. Y., p. 131, and the letter of Col. Daniel Claus, dated at Montreal, Oct. 16, 1777, (N. Y. Col. Docs., viii. 718; Cent. Celebrations of N. Y., p. 141; Roberts's Address, App.) The Tory account is in Jones's N. Y. during the Rev. (i. 216, with App., p. 700). St. Leger's retreat is described in a letter, Montreal, Sept. 4, 1777, in the Stopford Sackville Papers, printed in Ninth Report of the Hist. Mss. Commission (London, 1883, App. p. 87). The account of the Annual Register, 1777, is copied in the Cent. Celebrations of the State of N. Y. (p. 137), and is the basis of Andrews's History. Cf. Almon's Parliamentary debates (vol. viii.), and Beatson's Naval and Military Memoirs (vi. 69). The miniature of St. Leger, by R. Cosway, as engraved in the European Mag., 1795, is given in fac-simile in Stone's Campaign of Burgoyne. Cf. Johnson's Orderly-book and Hubbard's Red Jacket.
[831] It is also given in Hough's edition of Pouchot, i. 207, with a plan of the modern city of Rome, superposed. A plan of Rome in 1802, showing the position of the fort, is in the Doc. Hist. N. Y., iii. 687.
[832] There are other plans in Campbell's Tryon County; and in Lossing's Field-Book, i. 249,—the last also giving a view of the site of the fort (p. 231) and of the battlefield of Oriskany (p. 245).
[833] Cf. the Memoir and official Correspondence of Stark, by Caleb Stark (Concord, 1860), and H. W. Herrick On "Stark and Bennington", in Harper's Monthly (vol. lv. 511).
[834] De Lancey (Jones's N. Y. during the Rev., i. 685) has a note on the forces engaged.
[835] In "Mather and other papers", no. 78. There is a contemporary copy among the Trumbull MSS., viii. 176.
[836] Also in Stone's Burgoyne's Campaign, App., iii.; Hadden's Journal (p. 111); Moore's Diary of the Rev. (p. 488); Burgoyne's State of the Expedition; N. H. State Papers, viii. 664; Guild's Chaplain Smith and the Baptist (differing somewhat, p. 203). Cf. Fonblanque's Burgoyne (p. 271), and his State of the Expedition.
[837] "Of an affair which happened near Walloon Creek" (Sparks MSS., lviii., Part 2). Much on this expedition is in the English Public Record Office, "vol. 351, Quebec, xvii."
[838] Cf. Lowell's Hessians, p. 136; Riedesel, who in his Memoirs (i. 259, 299) somewhat differs from Burgoyne; Schlözer's Briefwechsel; and Stedman's Amer. War (i. ch. 17).
[839] Other contemporary narratives are in the Appendix of Stone's Campaign of Burgoyne (p. 286); Wilkinson's Memoirs (i. ch. 5); and Hadden's Journal (p. 120). There are letters by Peter Clark in the N. E. Hist. and Geneal. Reg. (April, 1860, p. 121). A letter of the Council of Safety, written during the action, is in N. H. State Papers, viii. 669, where is also Stark's letter, when he sent the trophies, and the communication of the news to the militia (Ibid. p. 623). Stark was thanked by Congress, and made a brigadier (Ibid. p. 702). He had felt hurt at the failure of such recognition by Congress earlier (Ibid. p. 662).
[840] Cf. also the Vermont Hist. Gazetteer, (vol. i.); A. M. Caverley's Pittsford, Vt.; Frisbie and Ruggles's Poultney, Vt.; the N. H. Adj.-General's Report, 1866 (ii. 315); C. C. Coffin's Boscawen, N. H. (p. 257); H. H. Saunderson's Charlestown, N. H. (ch. 7); O. E. Randall's Chesterfield, N. H.; N. Bouton's Concord, N. H. (ch. 11); D. A. Goddard's paper on the part borne by Massachusetts in the battle, in the Mass. Hist. Soc. Proc. (xvii. 90, May, 1879); Holland's Western Mass. (ch. 15); Smith's Pittsfield, Mass. (i. 293); Hammond's N. H. Rev. Rolls (ii. 139).
[841] Cf. Bancroft (ix. ch. 22); Irving's Washington (iii. ch. 16); Gay's Pop. Hist. U. S. (iii. 581); Lossing's Schuyler (ii. ch. 14), his Field-Book (vol. i.), and his article in Harper's Monthly (vol. v.); Dawson's Battles (i. 255), and his account in the Hist. Mag. (xiii. 289, May, 1870); Carrington's Battles (i. 334); Isaac Jenning's Memorials of a Century (Boston, 1869, ch. 12; see N. E. Hist. Geneal. Reg., 1870, p. 94).
[842] Hiland Hall's paper on Warner's share in the battle of Bennington is reprinted from the Vermont Quarterly Mag. (1861, p. 156), in the Vermont Hist. Coll. (i. p. 209). Cf. Hist. Mag. (vol. iv., Sept., 1860, p. 268), and Chipman's Life of Warner.
[843] Albert Tyler's Bennington: the Battles, 1777. Centennial celebration, 1877 (Worcester, 1878).
Centennial anniversary of the independence of the state of Vermont and the battle of Bennington, Aug. 15 and 16, 1877. Westminster—Hubbardton—Windsor (Rutland, 1879). This volume contains an oration by S. C. Bartlett and an historical paper by Hiland Hall, with engraved portraits of some of the chief participants.
F. W. Coburn's Centennial Hist. of the Battle of Bennington (Boston, 1877).
A Bennington Historical Society was formed in 1876.
[844] The original of this, a carefully drawn MS. map of "the position of Col. Baum, 16th Aug., 1776, with the attack of the enemy at Walmscook near Bennington, by Lieut. Durnford, engineer", is among the Faden maps (no. 65). This Faden map is reproduced in Jenning's Memorials of a Century (Boston, 1869), and sketches of it will be found, with views of the field, in Lossing's Field-Book of the Revolution (i. 395, 396); Gay's Pop. Hist. U. S. (iii. 583); Harper's Monthly (xxi. 325). Carrington says the map of Baum's march in Harper's Mag., October, 1877, is incorrect. Stone, Campaign of Burgoyne (p. 35), gives a view of the house in which Baum died.
[845] Cf. Lossing's Schuyler (ii. 299); Wells's Sam. Adams (ii. ch. 45); Sparks's Washington (iii. 535; v. p. 14), his Correspondence of the Rev. (i. 427), and his Gouverneur Morris (i. 138).
[846] Cf. Amer. Hist. Record, April, 1873; Hamilton's Repub. of the United States (i. 306). There is a view of the army headquarters at Troy (1777) in Weise's Troy, 1876, p. 17; and of the Dirck Swart house, still standing (used by Schuyler as headquarters), in the Mag. of Amer. History (vii. 226, etc.). The house subsequently used by Gates has disappeared.
[847] Cf. also Kidder's First N. H. Regiment (p. 35). Other narratives are in Lossing's Schuyler (ii. ch. 19) and his Field-Book (i. 51); in Graham's Morgan (ch.7-9); in Arnold's Arnold (ch. 9); Headley's Washington and his Generals; Dawson's Battles (i. ch. 25); Carrington's Battles of the Rev. (ch. 46); Lowell's Hessians (p. 151); and the memoirs of Riedesel; and on the English side Burgoyne's State of the Expedition, and Fonblanque's Burgoyne. The Smith or Taylor house, in which Fraser died, is depicted in Stone's Campaign of Burgoyne (p. 72), and as to a story about the removal of his remains, see Ibid., App. 6. Robert Lowell read a poem, "Burgoyne's last march", at the centennial of this action.
[848] The accounts of the day, as Marshall says, give him the command, and in his Life of Washington, first edition, that writer so states it. Wilkinson, who was with Gates two miles from the fight, said in his Memoirs that there was no general officer on the field; and this led Marshall in his second edition to leave the question open. A letter of R. R. Livingston, Jan. 14, 1778, to Washington (Correspondence of the Revolution, ii. 551) is capable of counter conclusions on this point; and Mr. Bancroft (orig. ed., ix. 410) who holds that Arnold was not engaged during the day, judges that a letter of Colonel Richard Varick to General Schuyler, written on the day of battle, supports that view. Bancroft's opinion is maintained by J. A. Stevens in his paper "Benedict Arnold and his apologists", in the Mag. of Amer. Hist. (March, 1880). That the victory was won largely by Arnold's personal exertions is the opinion of nearly every other writer, and they find in the letters of Livingston and Varick as much to sustain their view as Bancroft does to support his. Wilkinson writes to St. Clair: "Gen. Arnold was not out of camp during the whole action" (St. Clair Papers, i. 89, 443). The evidences in rebuttal of Wilkinson, who is the only positive witness on the negative side, are numerous, and have been best arrayed by Isaac N. Arnold in his Life of Arnold (p. 175), and in the paper "Benedict Arnold at Saratoga" (United Service Mag., Sept., 1880; also printed separately), in which he added much new testimony, gathered after he had published his Life of Arnold. This consists of the statements in The Revolutionary Services of General Wm. Hull (N. Y., 1848); in a MS. account by Ebenezer Wakefield, who was in Dearborn's light infantry, and written after Wilkinson, whom he controverts, had published his Memoirs; in the narratives of the Germans Von Eelking and Riedesel. Moore (Diary of the Revolution, p. 498) cites a letter of Enoch Poor, which seems to allow Arnold's share in the battle. Later still the diary of a chaplain of the army has been published, Chaplain Smith and the Baptists, and this says distinctly (p. 209) that Arnold commanded. Mr. R. A. Guild, the editor of that book, collates the evidence on this point. Washington Irving, Lossing, Sydney H. Gay, William L. Stone,—not to name others,—have contended for Arnold's participancy in the day's doings. Lecky (iv. 67) expresses himself satisfied with the proofs adduced by I. N. Arnold. Cf. Rogers in Hadden's Journal, p. 27.
[849] Cf. Mag. of Amer. Hist. (May, 1879, p. 310), and B. W. Throckmorton's address on Arnold in W. I. Stone's Memoir of the Centennial Celebration of Burgoyne's Surrender (Albany, 1878). Col. Brooks, as reported by Gen. W. H. Sumner in Mass. Hist. Soc. Proc. (Feb., 1858, ii. 273), gave some reminiscences of Arnold's conduct. The surgeon attending Arnold said "his peevishness would degrade the most capricious of the fair sex" (N. E. Hist. and Geneal. Reg., 1864, p. 34).
[850] Stone (Campaign of Burgoyne, App. 5) also gives Woodruff's and Neilson's reminiscences. See also Stone's Life of Brant (i. 475). Cf. Wilkinson's Memoirs; Lossing's Schuyler (ii. 365), and his Field-Book; Hull's Revolutionary Services (ch. 10); Bowen's Lincoln; Irving's Washington (iii. ch. 22); Creasy's Decisive Battles of the World; Dawson (p. 291); Carrington (ch. 47); A. B. Street in Hist. Mag. (March, 1858). Silliman's account of his visit to the battlefield is in the App. of Stone's Burgoyne's Campaign. Stone in the notes to his translation of Pausch (pp. 175-6) enumerates what remains there are at the present day on the battle-ground of Oct. 7 to enable one to identify the points of the conflict. Gen. Hoyt's description of the battlefield in 1825 is given in Hinton's United States, Amer. ed., i. p. 264.
[851] Cf. Fonblanque's Burgoyne, p. 300; Rogers's Hadden's Journal, p. liii.; Hist. Mag. (ii. 121); Once a Week (xviii. 520); Potter's Amer. Monthly (vii. 191); Ellet's Women of the Amer. Rev., vol. i. There are portraits of Lady Acland in Burgoyne's Orderly-Book, in Bloodgood's Sexagenary, and Stone's Campaign of Burgoyne. Reminiscences of her later life are given in the Mag. of Amer. Hist., Aug., 1886, p. 193. The house to which the wounded Major Acland was borne is still standing, though much changed (Mag. of Amer. Hist., vii. 226). It was the Neilson house, used as headquarters by Morgan and Poor.
[852] A naval brigade under young Pellew, afterwards Viscount Exmouth, was not allowed by Burgoyne to cut its way through the American lines, in place of surrendering (Osler's Life of Exmouth, London, 1835, p. 39).
A view of the field of surrender is in the Cent. Celebrations of N. Y. (p. 301). An old print of Burgoyne's camp is copied in Lossing's Field-Book (i. 57). Cf. Anburey's Travels.
[853] It is also in the Brief Examination; Dawson (i. 305, with accompanying private letter); Gent. Mag. (Dec., 1777); Fonblanque's Burgoyne (p. 313). Riedesel in his Memoirs comments on Burgoyne's despatch.
In general, for American authorities on the surrender, see Wilkinson (ch. 8); Bancroft (ix. ch. 24); Irving's Washington (iii. 22); Lossing's Schuyler (ii. ch. 21); Stone's Campaign of Burgoyne; Bloodgood's Sexagenary, which shows the effect of Burgoyne's march on the country people; Lowell's Hessians (p. 162); Harper's Mag. (Aug., 1876); Mrs. E. H. Walworth in Mag. of Amer. Hist. (May, 1877,—i. 273-302). Loubat, Medallic Hist. of the U. S., describes the medal given to Gates.
On the British side there are Jones's New York during the Rev. (i. 201, etc.); Fonblanque's Burgoyne (ch. 7); Mahon's England (vi. 207); G. R. Gleig in Good Words (xii. 849); Blackwood's Mag. (lxiii. 332, cxiii. 427; or Living Age, xvii. 226, cxvii. 543).
[854] There is an account of prisoners and stores in N. H. State Papers, viii. 708.
[855] See accounts of the papers of Schuyler, Gates, Lincoln, etc., elsewhere. No. liv. of the Sparks MSS. is given to papers on this campaign. Cf. letters of Roger Sherman to William Williams in Ibid., lviii. no. 12; of General Armstrong in Ibid., xlix., i. 7. The correspondence of Schuyler and Gouverneur Morris is in Sparks's Morris, i. 141.
[856] Also N. Y. Hist. Coll., 1879. Cf. Geo. W. Schuyler's Colonial New York, ii. 267; Amer. Hist. Record, ii. 145. The jealousy, or rather dislike, of Schuyler on the part of New England men was the natural result of the contact of commander and subordinates so strongly opposed as an aristocratic Knickerbocker and the self-willed democrats of the Eastern States. Cf., on this antagonism, John Adams's Works, iii. 87; Graydon's Memoirs, passim; Gordon, ii. 331; Irving's Washington, iii. 128, etc. A survival of the feelings had doubtless colored some of the later estimates of Schuyler's character, and the opposing views can be seen in Lossing's Schuyler (ii. 325, etc.) and in Bancroft's United States. Cf. also Geo. L. Schuyler's Correspondence and Remarks upon Bancroft's History of the Northern Campaign of 1777 and the character of General Schuyler. The dissatisfaction with Schuyler was not, however, confined to New England. Reference seems to be made to him as an "infamous villain" in the letters of Samuel Kennedy, a surgeon of Pennsylvania troops (Penna. Mag. of Hist., viii. 114, where he is presumably spoken of as "G. S ... r").
[857] Lincoln's orders, Aug. 4th, are in the Sparks MSS., lxvi.
[858] The following orderly-books and journals of the campaign have been noted:—
Orderly book of lieut. gen. John Burgoyne, from his entry into the state of New York until his surrender at Saratoga, 16th Oct. 1777. From the original manuscript deposited at Washington's head quarters, Newburgh, N. Y. Edited by E. B. O'Callaghan (Albany, 1860), being no. 7 of Munsell's Historical Series. (Cf. J. T. Headley in The Galaxy, xxii. 604.) Gen. Horatio Rogers is satisfied that this Newburgh MS. is not an original record; and he has printed in his Hadden's Journal such records as are either defectively printed by O'Callaghan or not printed at all. Burgoyne's orders to the inhabitants of Castleton are in the N. H. State Papers, viii. 625, 658. There was published at Albany in 1882, as no. 12 of Munsell's Historical Series, a book entitled Hadden's journal and orderly books. A journal kept in Canada and upon Burgoyne's campaign in 1776 and 1777, by Lieutenant James Murray Madden. Also orders kept by him and issued by Sir Guy Carleton, Lieut. General Burgoyne and Major General William Phillips, in 1776, 1777, and 1778. With an explanatory chapter and notes by Horatio Rogers. Respecting this publication, Mr. William L. Stone says:—
"The journal of Lieutenant Hadden is, perhaps, one of the most important manuscript documents bearing upon Burgoyne's campaign that has yet been discovered. This journal formerly belonged to William Cobbett of London. The elaborate maps with which the writer has interspersed his journal fully indicate the importance of the strategical positions taken by Schuyler previous to Gates assuming the command. Besides the journal there are several orderly-books, in which the proceedings of the British army from day to day are minutely set forth. In the manuscript book at Washington's headquarters at Newburgh, the order of the day for 19th of August, 1777, is missing. This missing link, however, is supplied by Hadden, who gives it in full, and it proves to have been an order issued by Major-General Phillips, in the absence, that day, of General Burgoyne, as follows: 'Major-General Phillips,' reads the missing order for the 19th, 'has heard with the utmost astonishment, that, notwithstanding his most serious and positive orders of the 16th instant, that no carts should be used for any purpose whatever but the transport of provisions, unless by particular orders from the commander-in-chief as expressed in the order, there are this day above thirty carts on the road laden with baggage said to be their Lieutenant-General's.'"
The Hadden journals and orderly-books were bought in 1875 by General Rogers, having passed through Henry Stevens's hands, and are carefully printed, with fac-similes of the MS. maps accompanying them.
Supplementing these, the following orderly-books may be mentioned:—
Henry B. Livingston's.—Troops under Gen. Schuyler, St. Clair, &c. Ticonderoga, Stillwater, &c., June 13 to August 19, 1777.
Gen. Philip Schuyler's.—Fort Edward, Albany, June 29 to August 18, 1777.
Camp at Stillwater, Saratoga and Albany, &c. August 12 to November 4, 1774.
Col. Thaddeus Cook's, of Wallingford, Conn., Stillwater, September 6 to October 6, 1777. Weekly Returns of the Regiment, September 13, 27, and October 21, 1777.
Capt. William Gates's Company, of Col. Timo. Bigelow's Regiment, Weekly Returns, various dates from October, 1777, to September, 1778. Also in same covers, Orderly Book of Lieut. David Grout's Company, of Timothy Bigelow's Regiment, February 15, 1779, to June 15, 1779, and Weekly Returns of Capt. Peirce's Co., same Regiment, in 1780.
These are all in the library of the Amer. Antiq. Soc. at Worcester, Mass. An orderly-book of James Kimball, of Croft's regiment, June, 1777, to Dec., 1778, has been published by the Essex Institute (Salem, Mass.).
The following diaries may be named:—
The journal of Henry Dearborn, Aug. 3-Dec. 3, which was in the J. W. Thornton sale, 1878, no. 501. It is now in the Boston Public Library, and is included in Dearborn's journals as printed in the Mass. Hist. Soc. Proc., 1886, edited by Mellen Chamberlain, and separately as Journals of Henry Dearborn, 1776-1783 (Cambridge, 1887).
Chaplain Smith's diary, July and Aug., 1777, in R. A. Guild's Chaplain Smith and the Baptists, p. 197; Ralph Cross's journal, beginning Aug. 29, 1777, at Newburyport, and ending there on his return, Dec. 5th, in the Hist. Mag. (vol. xvii. pp. 8-11); diary of Ephraim Squier, Sept. 4 to Nov. 2, 1777, preserved in the Pension Office, Washington. Extracts from the diary of Capt. Benj. Warren are preserved in the Sparks MSS. (no. xlvii.). A copy of the journal of Samuel Harris, Jr., of Boston, during the campaign of 1777, after he joined the army at Stillwater, Sept. 20th, and describing the fight of Bemis's Heights, Oct. 7th, and the surrender of Oct. 17th, is in the Sparks MSS. (xxv.). Cf. McAlpine's Memoirs, published in 1788.
The British journals of Burgoyne's campaign by actors in it, which have been printed, are Roger Lamb's Original and authentic journal of occurrences during the late American war (Dublin, 1809), and his Memoir of his own Life (Dublin, 1811),—he was sergeant of the Royal Welsh Fusileers,—and Thomas Anburey's Travels through the interior parts of America (London, 1789 and 1791; French versions, Paris, 1790 and 1793; German, Berlin, 1792). Anburey was attached as a volunteer to the grenadier company of the 29th foot. (Cf. Rogers's Hadden Journals, explanatory chapter.) There is an English diary in the Mag. of Amer. Hist. (Feb., 1878).
For other personal records of the campaign, reference may be made to the brief summary of Maj. Hughes, one of Gates's aides (Mass. Hist. Soc. Proc., Feb., 1858, iii. 279); the autobiography of Col. Philip van Cortlandt, of the second New York regiment (N. Y. Geneal. and Biog. Rec., July, 1874, vol. v. 123, and Hist. Mag., 1878).
Similar records on the British side are Maj. Edward M'Gauran's Memoirs, privately printed in London in 1786, in two volumes, and The narrative of Captain Samuel Mackay, commandant of a provincial regiment in North America; by the appointment of Lieut.-Gen. Burgoyne (Kingston, 1778). The author gives an account of his services as a royalist in command of a company of provincials attached to General Burgoyne's army, and complains of the refusal of the British generals to recognize him as an officer.
The British Museum has recently acquired a contemporary military critique of the campaign, by one of the actors in it, Lieut. Digby, of the British army.
The diary of the Hanau artillerist, Pausch, is preserved at Cassel, and a copy is in the hands of Mr. Edw. J. Lowell, from which a second copy was made, and from this no. 14 of Munsell's Hist. Series was printed as Journal of Capt. Pausch, chief of the Hanau artillery during the Burgoyne campaign. Translated and annotated by W. L. Stone. Introduction by E. J. Lowell (Albany, 1886). Pausch covers the interval from the day he left Hanau, May 15, 1776, to the close of Burgoyne's last battle, Oct. 7, 1777. There is in the notes (p. 149) a letter of one John Clunes, which shows some of the perils of the attempt to keep Burgoyne's rear open at Ticonderoga. A journal of Johann Konrad Döhla, a private of the regiment of Anspach, 1777-1783, is in the Deutsch-Amerikanisches Mag., 1886-1887.
[859] Less important accounts are in Hildreth and Gay; in Thaddeus Allen's Origination of the Amer. Union, etc.
[860] Mr. Stone adds a note (p. 149) on the periodical contributions of Gen. J. Watts De Peyster to the history and criticism of the campaign, aimed in large part to vindicate Schuyler and portray the patriotism of New York State. Cf. his paper in the United Service, ix. 365. A paper on the campaign in the Mag. of Amer. History, Dec., 1881, p. 457, refers to an article on the same topic in Graham's Magazine (Apr., 1847), by N. C. Brooks, mentioning original documents. A. B. Street printed a paper on Saratoga in the Hist. Mag., March, 1858. Cf. Lemoine's Maple Leaves, second series (Quebec, p. 123).
[861] Stone says it is "characterized by great fairness and liberality."
[862] Other German authorities are given in Lowell's Hessians, App. A.
[863] In Burgoyne's State of the Expedition is a "Plan of the encampment and position of the army under Gen. Burgoyne at Sword's House, on Hudson River, near Stillwater, on Sept. 17th, with the positions of that part of the army engaged on the 19th Sept., 1777. Drawn by W. C. Wilkinson, Lt. 62d Reg. Engraved by Wm. Faden", and published in London, Feb. 1, 1780. It has a portion superposed, showing later positions. There is a composite map in Carrington's Battles (p. 344); and in Hadden's Journal (p. 164) fac-simile of drawn plans of the order of march and order of battle on Sept. 19. There is a map of the battle of the 19th in Pausch's Journal, p. 163. Loosing (i. 53) gives a view of the Stillwater ground.
Burgoyne's State of the Expedition also contains a "Plan of the encampment and position of the army under Gen. Burgoyne at Bræmus Heights, on the 20th Sept., with the position of the detachments in the action of the 7th Oct., and the position of the army on the 8th Oct. Drawn by W. C. Wilkinson. Engraved by Wm. Faden", and published Feb. 1, 1780. This is reproduced in Fonblanque's Burgoyne (p. 292). Carrington (p. 350) gives an excellent eclectic map.
A plan of the battles of Freeman's Farm and Bemis's Heights, made by Col. Rufus Putnam, is preserved at Marietta, Ohio, and a copy is in Col. Stone's collection at Jersey City. There is also a plan given in Charles Wilson's Account of Burgoyne's Campaign (Albany, 1844), which is revised in Stone's Campaign of Burgoyne. Stedman's plan (American War, i. 352) traces the movements from Sept. 10th to the capitulation. Cf. Grant's British Battles, ii. 150.
The positions from Oct. 10th, when the investment of Burgoyne's camp began, to the 16th, when the surrender took place, are shown on the American side in a map sketched by Chapman from an original of an officer, which appeared in the Analectic Mag. (Philad., 1818, p. 433), and is reproduced herewith.
In Burgoyne's State of the Expedition is Faden's "Plan of the position which the army under Lt.-Gen. Burgoyne took at Saratoga on the 10th of Oct., 1777, and in which it remained till the convention was signed." It is reproduced in Fonblanque's Burgoyne (p. 302). Carrington (p. 354) gives a careful plan, and there are others in Mag. of Amer. Hist. (vol. i. 273) and Lowell's Hessians (p. 163), taken from Lossing's Field-Book (i. 77). Lossing also gives a view (p. 80) of the field of surrender, the signatures to the convention (p. 79), the medal given to Gates (p. 83), the house used by Gates as headquarters (p. 75), and the house occupied by the Baroness Riedesel (pp. i. 89, 557; cf. also Stone's Campaign of Burgoyne, p. 94).
Upon the landmarks and topography of this series of movements, see papers in the Boston Monthly (i. 505) for a visit to Bemis's Heights; a paper by W. L. Stone in Mag. of Amer. Hist. (Nov., 1885, p. 510) on the remains of the works as now seen; and an examination of the localities in G. W. Schuyler's Colonial New York (ii. 128). Cf. Lossing's Field-Book and his Book of the Hudson.
[864] Cf. also Trumbull MSS. (vol. vi. and vii.); the Sparks MSS. (lii. vol. iii, p. 223); the lives of Putnam; and Upham's Life of Glover.
[865] A letter of Gen. Parsons to Gov. Trumbull, on the capture of Fort Montgomery, is in Hildreth's Pioneer Settlers of Ohio (p. 534). The personal narrative of Thomas Richards is in United Service (xii. 274).
[866] Cf. also Clinton's letter in Rockingham and his Contemporaries (ii. 334), and his annotations on the account in Stedman (ch. 18) in Jones's N. Y. during the Rev. (i. 704). A journal of a British officer is printed in Scull's Evelyns in America (p. 345).
The journal of Capt. Scott, who was sent by Burgoyne to open communication with Clinton, is in Fonblanque's Burgoyne (p. 287).
The later accounts are in Irving's Washington (iii. ch. 21); Lossing's Schuyler (ii. ch. 20), and his Field-Book (ii. 165); Leake's John Lamb (p. 179), where is controverted the opinion expressed in Hamilton's Life of Alex. Hamilton (i. 321), that the defence of the forts was feeble; Carrington's Battles; and Sargent's André (p. 102).
[867] There was also a map of the river in the Gent. Mag., 1778.
[868] Letters of Greene and others, May 17, 1777, respecting the obstructions in the North River at Fort Montgomery, are in the Sparks MSS. (lii. vol. iii.).
[869] Boston Monthly Mag., July, 1826; Loring's Hundred Boston Orators, 174; Parton's Franklin, ii. 283. The brief letter sent by Gates to the Mass. Council is in the Mass. Archives, and is printed in Hale's Franklin in France, p. 160. The letter of the Mass. government to Franklin (Oct. 24th) covered a copy of Gates's letter (Hale, p. 155).
[870] The effect in England is seen in the Debates in Parliament; Curwen's Journal (p. 175); P. O. Hutchinson's Diary of Thomas Hutchinson (vol. ii.); Donne's Corresp. of Geo. III. and Lord North (ii. 93, 111); excerpts in Moore's Diary, i. 525, Macknight's Burke (ii. 202); Russell's Mem. and Corresp. of Fox (i. 161); Fitzmaurice's Shelburne (iii. 12); Bancroft's United States (ix. 478); Mahon's England (vi. 206, and App. p. xxxix.); Fonblanque's Burgoyne (ch. 8); Madison's Writings (i. 31). Walpole (Last Journals, ii. 170) tells us how the king received the news of Burgoyne's disaster.
[871] Fonblanque, p. 333, and Almon's Remembrancer, vi. 207; but they do not agree upon the name of the vessel by which he sailed.
[872] Walpole (Last Journals, ii. 278) describes Burgoyne's appearance in the Commons.
[873] Cf. Bancroft's character of Burgoyne, in his orig. ed., vii. 245. Fonblanque (p. 5) charges Bancroft with coarseness in speaking of alleged but unfounded statements of Burgoyne's shame of birth. A certain swagger about the man laid Burgoyne open to the stinging burlesques of the small writers of the day. Cf. The Lamentations of Gen. Burgoyne (Sabin, iii. 9,262); Calendrier de Philadelphie, 1779 (Ibid. xiv. 61, 511), Moore's Songs and Ballads of the Rev. (176, 185, 189); Stone, Campaign of Burgoyne (App. xvi.).
[874] There were six editions printed in London, and one in Dublin, in 1778 (Sabin, iii. no. 9,257; Menzies, no. 264). These speeches were in response to a motion of inquiry made by John Wilkes, whose copy of this pamphlet belongs now to Mr. Charles Deane; and, by Wilkes's annotations upon it, it seems that Wilkes recalled a good deal that Burgoyne said and did not print, and qualified other parts which he did print.
[875] Sabin, iii. no. 9,257. There were six editions the same year. Menzies, no. 266.
[876] Sabin, iii. no. 9,266,—three editions; Menzies, no. 268.
[877] Sabin, iii. no. 9,263; Menzies, no. 267.
[878] Sabin, iii. no. 9,258; Menzies, no. 265.
[879] Sabin, iii. no. 9,260; Sparks's Catal., no. 405. Menzies, no. 272.
[880] Sabin, iii. no. 9,261; Menzies, no. 273.
[881] It appeared in two editions, and the book is now usually priced at about £3 (Sabin, iii. no. 9,255; Sparks, no. 404; Stevens, Bibl. Amer. (1885), no. 58; Menzies, no. 269.)
Burgoyne's documents, as laid before Parliament, had been printed in the Parliamentary Register. The Gentleman's Mag. had chronicled the progress of the investigation. Cf. Annual Register (xxi. 168) and Russell's Memoirs and Correspondence of Fox (i. 176).
The principal English MS. sources for the study of the whole campaign are these: The minutes of inquiry into the causes of Burgoyne's failure in the volume "Secretary of State, 1777-1781", in the War Office, London; Quebec series, in the Public Record Office, vols. xiv., xvi. (Cf. Brymner's Reports on Canadian Archives, 1883, p. 77; 1885, p. xi.)
[882] The volume contains Burgoyne's speech, prefatory to his narrative; his narrative; the evidence of Carleton, Balcarras, Harrington, Major Forbes, Lieut.-Colonel Kingston, and others; a review of the evidence and conclusion. In the Appendix are Burgoyne's "Thoughts for conducting the war from the side of Canada;" various letters of Burgoyne, Carleton, etc.; Burgoyne's speech to the Indians; Baum's instructions; St. Leger's letter from Oswego, Aug. 27, 1777; Burgoyne's letter from Albany, Oct. 20th; his councils of war, Oct. 12th and 13th; the terms proposed by Gates. There are added various plans of battle, elsewhere mentioned.
[883] Sabin, iii. no. 9,256; Menzies, no. 270. Privately reprinted in New York (75 copies) in 1865. It is said to have been printed without the sanction of Burgoyne.
[884] Sabin, iii. no. 9,265.
[885] Menzies, no. 271; Sabin, iii. no. 9,264. Sabin also notes, no. 9,267, Reponse à un des articles des Annales politiques de M. Linguet concernant la défaite du Général Burgoyne en Amérique (Londres, 1788). Cf. on Burgoyne's subsequent exchange, Rogers's Hadden's Journal.
[886] Other addresses are N. B. Sylvester's Saratoga and Hay-ad-ros-se-ra (July 4, 1876); George G. Scott's Saratoga County address; J. S. L'Amoreaux at Ballston Spa (July, 1876); Edward F. Bullard's, at Schuylerviile (July 4, 1776); H. C. Maine's Burgoyne's Campaign. The remarks of Messrs. Edward Wemple and S. S. Cox in Congress, Dec. 4, 1884, on the Saratoga monument, have been printed.
[887] The evidence on this point is overwhelming. "Those", wrote Washington, in a letter intended only for the eye of his step-son, "who want faith to believe the accounts of the shocking wastes of Howe's army—of their ravaging, plundering, and the abuse of women—may be convinced to their sorrow ... if a check cannot be put to their progress."
[888] Cf. letter of the Secret Committee of Congress to Silas Deane in Paris, Aug. 7, 1776 (N. E. Hist. and Geneal. Reg., 1877, p. 99). Pertaining to this movement is a journal of a campaign from Philadelphia to Paulus Hook, by Algernon Roberts (Sparks MSS.), which is printed in the Penna. Mag. of Hist., vii. 456. It covers Aug. 16-Sept. 17, 1776. Cf. orderly-book in Hist. Mag., ii. 353; and a journal in the Penna. Hist. Soc. Coll., i. 223.
[889] His letters (Sparks, iv., and 5 Force, iii.) give details of this retreat. Cf. also G. W. P. Custis's Recollections, p. 538. Howe has been much blamed for his want of enterprise in allowing Washington to escape (Galloway's Examination; Gordon's Amer. Rev., ii. 355; Wilkinson's Memoirs, i. 120).
[890] Lee was wrought upon by Joseph Reed writing to him, Nov. 21st, of Washington's "indecisive mind" (C. Lee's Memoirs; Moore's Treason of Lee, p. 46), and the next day Lee wrote in the same spirit to Bowdoin (Ibid., p. 49), and on the 24th he wrote to Reed of Washington's "fatal indecision." Moore examines this hesitancy of Lee (pp. 48, 57). For suspicions as to Lee's conduct at this time, see Moore's Treason of Lee; Heath's Memoirs, 88; Reed's Jos. Reed, i. 253; Drake's Knox; J. C. Hamilton's Republic, i. ch. 6; Lee Papers (N. Y. Hist. Soc. Coll.), ii. 337, etc.
[891] Cf. Force's Archives, 5th ser., vol. iii.; Jones's N. Y. during the Rev., i. 173; Wilkinson's Memoirs, i. 105; Sparks's Washington, iv. App. p. 530; Robert Morris's letter, Dec. 17th, in Pa. Hist. Soc. Bull., vol. i.; Moore's Treason of Lee, 61; Bancroft, ix. 210; Irving's Washington, ii. 433; Scull's Evelyns in America, 211; Memoir of Mrs. E. S. M. Quincy (1861); Fonblanque's Burgoyne, p. 50.
A contemporary picture of the capture of Lee, in Barnard's Hist. of England, represents him in uniform at the door of his house, handing his sword to a mounted officer, whose horse prances among dead bodies, while a platoon of dragoons stands at a little distance.
Lee's exchange was rendered possible when Washington acquired a prisoner of equal rank by the exploit of Colonel Barton. This Rhode Island officer summoned a party, and in whale-boats crossed Narragansett Bay, and (July 10, 1777) surprised Gen. Richard Prescott in bed at his headquarters, a few miles north of Newport where he held command of the British who, under Clinton and Percy, had taken possession of that port in Dec., 1776 (Almon'S Remembrancer, iii. 261; Jones's N. Y. during the Rev., i. 639). The parole of Gen. Prescott, July 14, 1777, given at Providence, as well as a letter from Lambert Cadwalader, "being greatly indebted to his politeness and generosity while a prisoner in New York", are in the Trumbull MSS. (vol. vi.). The parole is printed in Arnold's Rhode Island, ii. 403. General Smith's letter, July 12th, to Howe is in the Sparks MSS., lviii. Contemporary accounts are in Moore's Diary, i. 468. Cf. Force's Archives, 4th ser., vol. iv., and Thacher's Mil. Journal. Barton was assisted by a negro. Livermore's Historical Research, 143. There was an address by Professor Diman on the centennial of the capture, which was printed as no. 1 of the R. I. Hist. Tracts. Cf. Narrative of the surprise and Capture of Maj.-Gen. Richard Prescott, July 9, 1777 (Windsor, Vt., 1821), and a tract of similar title, Philadelphia, 1817; Mrs. C. R. Williams's Biog. of Revolutionary Heroes (William Barton and Stephen Olney), Providence, 1839; Andrew Sherburne's Memoirs, App.; Sparks's Washington, iv. 495; Arnold's Rhode Island; Scull's Evelyns in America, 280. Diman gives a photograph of a portrait of Barton, and a fac-simile of his orders. Cf. Lossing's Field-Book, ii. 75. Scull (p. 140) gives a likeness of Prescott. Views of the house where the capture took place are in Mason's Newport, p. 8; Lossing's Field-Book, ii. 76, and his Cyclo. U. S. Hist., p. 1133.
[892] Penna. Archives, vi. (1853); Colonial Records of Pa., xi. (1852); Hazard's Register, iii. 40; Rev. Dr. Muhlenberg's journal in Pa. Hist. Soc. Coll., i.; Robert Morris's letters in Pa. Hist. Soc. Bull., i. 50, etc.; broadsides enumerated in Hildeburn's Issues of Pa. Press, ii.; the diary of Christopher Marshall (Philad., 1839, to Dec. 31, 1776; again to Dec. 31, 1777; in full, Albany, 1877).
[893] See ante, p. 272.
[894] Wallace's Col. W. Bradford, p. 140. Mr. Stone indicates the following authorities on these points: Charles Thomson's letter to Drayton (Pa. Mag. of Hist., ii. 411; N. Y. Hist. Soc. Coll., 1878, p. 274); Reed's Reed (ii. ch. i.); Anna H. Wharton on Thomas Wharton, Jr., in Pa. Mag. Hist. (v. 431, 437,—also in The Wharton Family); St. Clair Papers (i. 370, 373); Proceedings relative to calling the Conventions of 1776 and 1780 (Harrisburg, 1825); Journals of the Ho. of Rep. of Penna. (vol. i.—Philad., 1782); Pa. Col. Rec., xi.; and other titles in Hildeburn.
[895] For further aspects of a political nature, see Wells's Sam. Adams, ii.; Ellery's letter to the governor of Rhode Island (R. I. Col. Rec., viii.), and the Corresp. of the Executive of New Jersey, 1776-1786 (Newark, 1846); Read's George Read, 212, 216, and (Cæsar Rodney's letter) 256. The leading biographies give some original aspects: Greene's Greene, i. 299 (in which Bancroft's statements are controverted); Reed's Reed, ch. 14; Drake's Knox, 36; Stone's John Howland, who was with the troops from Lee, which reinforced Washington; Williams's Olney. There is a contemporary "Relation of the Engagement at Trenton and Princetown on Thursday and Friday the 2d and 3d of January, 1777, by Mr. Wood, 3d Battalion", in the Penna. Mag. of Hist., x. 263.
A journal of Sergeant William Young is in the Penna. Mag. of Hist., Oct., 1884, vol. viii. 255. A little chapbook, Narrative of events in the Revolutionary war; with an account of the battles of Trenton, Trenton-bridge and Princeton (Charlestown [1833]), by Joseph White, an orderly-sergeant of artillery, gives some personal experiences.
[896] C. C. Haven's tracts: Washington and his army in New Jersey (Trenton, 1856), Thirty days in New Jersey ninety years ago (1867), Annals of the City of Trenton (1867), and Historic Manual concerning Trenton and Princeton. (Cf. Mass. Hist. Soc. Proc., iii. 335.) Joseph F. Tuttle's papers: Annals of Morris County (187-), Revolutionary forefathers of Morris County (Dover, 1876), "Washington in Morris County", in Hist. Mag., June, 1871. E. D. Halsey's Hist. of Morris County (N. Y., 1882). W. A. Whitehead's Perth Amboy (p. 329), and Penna. Hist. Coll., i. 223. Hatfield's Hist. of Elizabeth (ch. 20). A paper, "Washington on the west bank of the Delaware", by Gen. W. W. H. Davis, giving local details, in Penna. Mag. of Hist. (iv. 133). Historical Mag., xix. 205. Harper's Mag., July, 1874. Potter's Amer. Monthly, Jan., 1877. Johnston's Campaign of 1776 (ch. 8).
[897] Gordon (vol. ii.); Bancroft (orig. ed. ix. ch. 12; final revision, v. ch. 6, 7, 8); Irving's Washington (vol. ii.); Gay, Pop. Hist. U. S. (iii. 520).
[898] Bancroft, ix. 218; Reed's Reed, i. 270.
[899] Other contemporary American accounts are by Major Morris (Sparks MSS., no. liii.; Chalmers's MSS. in Thorpe's Catal. Suppl., 1843, no. 632); by R. H. Lee (Mass. Hist. Soc. Proc., 1878, xix. 109); by Sullivan (N. H. State Papers, viii. 492); in Stirling's letter (Dec. 28, 1776) (Sedgwick's Livingston, 211). The order of march to Trenton is in Drake's Knox, 113. Capt. Wm. Hull's letter, Jan. 1, 1777, is in Bonney's Legacy of Hist. Gleanings, 1875, i. p. 57. (Cf. Hull's Rev. Services, ch. 5.) See also Greene's Greene (book ii. ch. 13); Reed's Reed (i. 273); Wilkinson's Memoirs (ch. 3); Smith's St. Clair; Stone's John Howland (p. 72); Marshall's Washington (ii. ch. 8); Drake's Knox (p. 37); Memoirs of Tench Tilghman (p. 148); Journals of Samuel Shaw; Capt. Thomas Rodney's letter in Niles's Principles (1822, p. 341); Force's Amer. Archives (5th, iii.); Freeman's Journal in Moore's Diary (p. 364). The account in the Penna. Evening Post, Dec. 28, 1776, is copied in Penna. Mag. of Hist., July, 1886, p. 203.
Local publications are: Raum's Trenton (1866); C. C. Haven's Annals of Trenton; Henry K. How's Battle of Trenton (N. Brunswick, 1856).
Of the more general accounts, Bancroft (ix. 218) is the best. Cf. Hist. of First Troop of Pa. Cavalry, p. 7. Cf. also Gordon (ii. 393); Irving's Washington (ii. 449); Dawson (i. 196); Carrington (ch. 39); Johnston's Campaign of 1776 (p. 288, with docs. pp. 151, 153). Also articles in Godey's Mag. (xxxii. 51) and Harper's Mag. (vii. 445), and details in Lossing's Field-Book.
[900] Cf. Lowell's Hessians, ch. 8; Eelking's Hülfstruppen, i. 113, 132. The oft-printed letter of the Prince of Hesse-Cassel to Baron Hohendorf or Hozendorf is a forgery (Kapp's Soldatenhandel, 2d ed. 199). A court-martial of the Hessian officers was held at Cassel in 1782, and the report of it is in the Penna. Mag. of Hist., vii. 45 (April, 1883), a paper of much use to the writer of the preceding narrative.
The battle is the subject of one of Trumbull's pictures. On a Hessian flag captured, see Lossing's Field-Book, ii. 413. Moore, Songs and Ballads, 150, 156, 165, gives some of the current verses.
The movements of Washington after Trenton in recrossing the Delaware, are easily followed in Washington's letters to Congress, in Reed's narrative (Penna. Mag. Hist., viii. 391); in Sergeant William Young's Journal (Ibid. viii. 255); in Reed's Reed (i. 277); and in Wilkinson's Memoirs (i. 133).
[901] Gordon (ii. 398); Bancroft (ix. 248); Dawson (ch. 17); Carrington (ch. 41); Irving's Washington (ii. 477); Johnston's Campaign of 1776 (p. 293,—quoting from a Rhode Island officer's statement in Stiles's diary). G. W. P. Custis's Recollections (ch. 3).
[902] The narrative of George Inman is in the Pa. Mag. of Hist., vii. 240; and he tempers on some points the assertions of Stedman.
Upon Howe's evacuation of New Jersey and the sluggishness of his subsequent movements, see Sparks's Washington (iv.); Bancroft (ix. ch. 20); Graydon's Memoirs; Green's Greene: Graham's Morgan; Life of Timothy Pickering, i.; Irving's Washington, iii. ch. 8; Eelking's Hülfstruppen; Lecky, iv. 58. Cf. Journal of Capt. Rodney in Campaign of 1776, Doc. 158, and the Journal of Capt. John Montresor (N. Y. Hist. Soc. Coll., 1881, p. 420; and in part in Pa. Mag. of Hist., v. and vi.). Howe's losses, Aug.-Dec., 1776, are tabulated in the War in America (Dublin, 1779). The campaign is examined in Gen. Carrington's Strategic Relations of New Jersey to the War of Amer. Independence (Newark, 1885).
[903] The principal controversial tracts upon the charges of incompetency preferred against Howe are these: The Narrative of Lieut.-Gen. Howe relative to his Conduct during his late command in North America (London, 1780, several eds.). Letters to a nobleman on the Conduct of the War in the middle Colonies, (London, 1780, various eds.). Howe replied in Observations; and this led to a Reply to the Observations (London, 1781). Another severe critic appeared in Two letters from Agricolas to Sir William Howe (London, 1779). Galloway was sharp in his Examination. The loyalists felt Howe's shortcomings poignantly, as they prolonged, as was thought, their exile (Life of Peter Van Shaack, 167). The contemporary historians, like Murray and Gordon, did not spare him. The later ones, like Andrews (ii. ch. 26), Adolphus (ii. ch. 31), Smyth (Lectures, no. 34), were quite as severe. The American historians have not disputed the adverse conclusion (Marshall, Bancroft, Irving, etc.). Cf. Sargent's André, ch. 7, and a note in his Stansbury and Odell, 137. The current story that the charms of Mrs. Loring paralyzed the English general finds occasional record (John Bernard's Recoll. of America, N. Y., 1887, p. 60). On General Howe's lineage, as affecting his characteristics, see General Sir William Howe's Orderly-Book, 1775-1776, etc., collected by B. F. Stevens, with hist. introd. by Edw. E. Hale (London, 1884); also Dawson's Westchester, p. 217.
[904] Jones, i. 187, 252, 256, 714; ii. 431.
[905] The charge of treason is also disputed (Hist. Mag., v. 53). Cf. G. W. Greene's Gen. Greene, i. 385; his Historical View, 62, 265; Lossing in Mag. of Amer. Hist., July, 1879, p. 450.
[906] Cf. W. T. Read in the Hist. Mag., July, 1871, p. 1. Cf. Gordon; Penna. Archives, 1st and 2d series; Reed's Reed, i. ch. 15, 16; Drake's Knox, 43; Greene's Greene; Irving's Washington, iii. ch. 18, 19; Hamilton's Republic, i. ch. 10; Mahon, in the main just; histories of Pennsylvania; McSherry's Maryland, ch. 11; Quincy's Shaw, ch. 3; Evelyns in America, 302. For political aspects, Wells's Sam. Adams, ii. ch. 44; Lee's R. H. Lee; Adams's John Adams.
[907] Hutchinson, in London, seems to have thought Boston the object of the campaign (Mem. Hist. Boston, iii. 165; Adams's Familiar Letters, 286; Hutchinson's Diaries, ii. 152). James Lovell writes from Philadelphia, July 29, 1777, that Howe seems bound up the Delaware; but he warns his friends in New England that his present movements may be undertaken to cloak an ultimate design upon the New England coast (Charles Lowell MSS.).
[908] J. F. Tuttle's Washington at Morristown, in Harper's Mag., xviii. 289; Potter's Amer. Monthly, v. 665.
[909] There are in the Persifer Frazer papers (Sparks MSS., xxi.) some letters from the Mount Pleasant camp, near Bound Brook and Morristown, in June and July, 1777. For the British movements at this time, cf. the journal in Scull's Evelyns in America, p. 328.
[910] Sparks, iv. 442, 453, 501, 505; v. 42; Mass. Hist. Soc. Coll., xliv.; Greene's Greene, i. 400, 429; N. H. State Papers, viii. 620.
[911] N. H. State Papers, viii. 652, 653; Adams's Familiar letters, 294; Heath Papers in Mass. Hist. Soc. Coll., p. 71. Howe's Narrative gives his reason for not going up the Delaware.
[912] Various papers relating to the raid and the inquiry are in the Sparks MSS., no. liv. For the inquiry, see also the N. H. State Papers, viii. 704. A diary of Andrew Lee is in the Penna. Mag. of Hist., iii. 167. The current American and British accounts are in Moore's Diary, i. 482.
[913] Hamilton's Works, vii. 519; N. H. State Papers, viii. 673; Jones's New York, ii. 431. His advance is followed in Futhey's Paoli address, and in his notes as printed in the Penna. Mag. of Hist. Cf. also Montresor's journal.
[914] The orders of march are recorded in W. T. R. Saffell's Records of the Rev. War (p. 333), and John Adams's account of the march through Philadelphia is in his Familiar Letters. A sermon preached on the eve of the battle of Brandywine, by Rev. Jacob Trout, Sept. 10th, is given in L. M. Post's Personal Recoll. of the Amer. Rev. (1839,—App.) Penna. Hist. Soc. Coll., i.; Mag. Amer. Hist., March, 1885, p. 281 (fac-simile). Confidence prevailed in Philadelphia that Howe could be beaten. Shippen letters in N. E. Hist. and Geneal. Reg., 1864, p. 32.
[915] Washington, vol. v. App. p. 456. Some confusion has arisen from the fact that the ford called Buffenton's at a later day was not the one so known at the time of the battle, and there are in the Sparks MSS. (lii. vol. iii.) some letters upon this point from William B. Reed (with a small pen-map) and Alfred Elwyn.
There has been some question upon the responsibility of Sullivan for the defeat; but Washington asked to be allowed to suspend the execution of the orders of Congress, withdrawing Sullivan from the army. Bancroft (ix. 395) has been the chief accuser of late, and T. C. Amory, in his Mil. Services of Gen. Sullivan (pp. 45, 50), the principal defender. Sullivan's letter to Congress, Sept. 27th, which Bancroft (ix. 397) considers "essential to a correct understanding of the battle", is in N. H. Hist. Coll., ii. 208; Dawson, i. 279; Mass. Hist. Soc. Proc., Dec., 1866, p. 407; his letter of vindication, Nov. 5th, is in N. H. State Papers, viii. 743. A copy of Sullivan's defence (Nov. 9, 1777) is among the Langdon Papers, and is copied in the Sparks MSS. (lii. vol. ii. p. 199). The counter-arguments of the case are examined in the Penna. Hist. Soc. Bulletin, vol. i. Read's George Read, 273, questions Sullivan's vigilance. Cf. Sparks's Washington, v. 108, 456, for the charges against Sullivan. Bancroft also criticises the conduct of Greene, and Geo. W. Greene (Life of Greene, i. 447, 453; ii. 460) defends that general.
[916] Cf. Reed's Reed, i. ch. 15; Read's George Read; Lee's War in the Southern Dep't., 16; Muhlenberg's Muhlenberg, ch. 3, and the Bland Papers. For special treatment, see Carrington, ch. 50; Dawson, ch. 24; the account by Joseph Townsend, and the sketch by J. S. Bowen and J. S. Futhey, in Penna. Hist. Soc. Bull., i., where various essential documents are printed; H. M. Jenkins in Lippincott's Mag., xxx. 329; Potter's Amer. Monthly, vii. 94. There are local aspects in Smith's Delaware County, p. 305, and Lewis's Chester County. The services of John Shreve, of the New Jersey line, are told in Mag. Amer. Hist. (1879), iii. 565. The widow of a wounded guide, Francis Jacobs, applied for a pension as late as 1858 (Senate Repts., no. 213, 35th Cong., 1st sess.). Washington's headquarters are shown in Smith's Del. County, p. 304, and Penna. Hist. Soc. Proc., i.; and Lafayette's in Smith, 310. A view of the field is given in Day's Hist. Coll. Penna., p. 213.
Accounts more or less general are in Gordon, Irving (iii. ch. 18), Lossing, Gay (iii. 543), Thaddeus Allen's Origination of the Amer. Union; Hollister's Conn., ii. ch. 16; Mag. Amer. Hist., ii. 310. Washington seems to have been poorly informed about the country, and to have relied on false intelligence.
[917] The Journal of Capt. John Montresor, July 1, 1777, to July 1, 1778, edited by G. D. Scull, is in Penna. Mag. Hist., v. 393; vi. 34, 189, 284, 295, with corrections, 372. There are letters in Scull's Evelyns in America, 244; Moore's Laurens Correspondence, 52; and others from Gen. Fitzpatrick in Walpole's Letters.
[918] Cf. Eelking, ch. 6, and Du Portail in Mahon, vi. App. 27.
[919] Bisset's George III., ch. 19, 25; N. E. Hist. and Gen. Reg., April, 1879, p. 240, and July, p. 351; J. Watts de Peyster in Scribner's Monthly, April, 1880, p. 940.
[920] Cf. also Moore's Diary, 498; Pennypacker's Phœnixville, 101; Bell's address in Hazard's Register; Laurens Correspondence, 53; Hist. Mag., iii. 375; iv. 346; J. W. De Peyster in United Service, 1886, p. 318; and lives of Wayne by Armstrong and Moore.
[921] Howe's Narrative; the Conduct of the War; Ross's Cornwallis; papers on the war in Penna. Archives, 1st, v., and 2d, iii.; Thomas Paine's letter to Franklin (Penna. Mag. Hist., ii. 283); Penna. Evening Post; Watson's Annals of Philad.; Drake's Knox; Greene's Greene; Mem. of B. Tallmadge; Bancroft, ix. ch. 23, etc. Howe's proclamations during this period are noted in the Catalogue Philad. Library, p. 1553; Hildeburn's Issues of the Press (under 1777).
Congress fled to York, and occupied the old court-house, of which a view, in fac-simile of an old print is given in Mag. Amer. Hist., Dec., 1885, p. 552.
[922] Washington, v. 463; Dawson, 326; Mass. Hist. Soc. Proc., Dec., 1866, p. 418; Amory's Sullivan, 57; and in part in N. H. State Papers, viii. 705.
[923] Sparks, v. 78, 86, 102; Dawson, i. 325; Heath Papers, Mass. Hist. Soc. Coll., xliv. 76. Other contemporary evidence is in the letters of Wayne (Dawson, i. 328; cf. lives of Wayne); Gen. Adam Stephen (Sparks, v. 467): Gen. Armstrong (Dawson, 329); Knox (Drake, 52); William Heth (Leake's Lamb, 183). Other contemporary statements and documents are in Moore's Diary, 504; Penna. Archives, v. 646; Pa. Mag. of Hist., i. 13, 399, 400, 401; ii. 283; Tilghman's Memoirs, 160; Davis's Lacey, 48; Watson's Annals of Philad., ii. 67; Hist. Mag., xi., 82, 148; Moore's Laurens, Corresp., 54. Accounts of participants given at a later day are by C. C. Pinckney (1820), who was on Washington's staff (Hist. Mag., x. 202), and Col. J. E. Howard, who addressed a letter to Pickering in 1827, a copy of which in his own hand, with a rude plan, is in the Sparks MSS., no. xlix. vol. i., and it is printed in Sparks, v. 468.
[924] Cf. No. Amer. Rev., April, 1825, p. 381; Oct., 1826, p. 414; National Intelligencer, Dec. 5, 1826, and Jan. 27, Feb. 24, 1827. Cf. Hazard's Register, i. 49. On the 21st November, 1777, James Lovell at York expressed the discontent with Washington in a letter to Joseph Whipple at Portsmouth. He complained that the naval force at Fort Mifflin was not properly seconded by the land force; and adds: "I have reason to think the battle of Germantown was the day of salvation offered by Heaven to us, and that such another is not to be looked for in ten campaigns."
[925] Lives of Washington by Sparks (vol. i.), Irving (iii. ch. 23); of Greene by Johnson and Greene; Muhlenberg's Muhlenberg; the collated narrative in Dawson (i. 318); the military criticism in Carrington (ch. 51), and accounts in Bancroft (ix. 424,—controverted in Amory's Sullivan); Reed's Reed (i. 319); Sargent's André (p. 112); Lossing, Gay, etc. Cf. Lowell's Hessians (p. 197); notes in N. Y. Hist. Soc. Proc., ix. 183; Harper's Mag. (i. 148; vii. 448); Potter's Amer. Monthly (vii. 81); T. Ward on the Germantown Road, in Penna. Mag. Hist., v. p. 1, etc. At the centennial ceremonies in 1877 there were addresses by Judge Thayer and by A. C. Lambdin (Penna. Mag. Hist., i. 361).
[926] Cf. Stedman (i. ch. 15); Mahon (vi. 163); Hamilton's Grenadier Guards (vol. ii.). Also see Wilkinson's Memoirs, i. 369, for Howe's orders; Hunter's diary in Moorsom's Fifty-second Reg., 20; Lord Lindsay in Memoirs of Admiral Gambier (Hist. Mag., v. 69); Harcourt in Evelyns in America, 244.
[927] Wallace's Col. Wm. Bradford, the patriot printer of 1776 (Philad., 1884), ch. 30; Bancroft, ix. ch. 25.
[928] Local details are in Smith's Delaware County, p. 289. Washington was opposed to trying to match an inferior navy with the British (Wallace, p. 271), and Wallace weighs the advantages (p. 296). There are some current observations in Adams's Familiar Letters, p. 257. The ultimate destruction and scuttling of the American vessels is described by Wallace (p. 247), referring in connection to the Universal Mag., vol. lxii. Cf. Hist. Mag., iii. 201. The principal loss of the British fleet was the blowing up of the frigate "Augusta" (Wallace, P. 187; United Service, May, 1883, p. 459).
[929] For other contemporary records see 2 Penna. Archives, v.; Moore's Diary, 514; Pickering's in Life of Pickering, i. 174; Joseph Reed's letter, Oct. 24, to President Wharton (cf. Reed's Reed, i. 336); Jones (i. 193) gives the accredited British reports. The best later narrative is in Wallace's Bradford (p. 183). Cf. Bancroft, ix. 430; Smith's Delaware County, p. 321.
[930] Varnum's and Angell's letters in Cowell's Spirit of '76 in R. I., 296; Col. Laurens' diary in the Army papers of Col. John Laurens, p. 74, and his letter to Henry Laurens in Moore's Laurens Correspondence (1861), p. 63; Major Fleury's diary in Marshall and in Sparks (v. 154); Robert Morton's diary in Penna. Mag. of Hist. (i. 28); Bradford's letter in Force (vi. p. 11). The story as given in the United States Mag., May, 1779 (p. 204), used by Bancroft (ix. 434), is reprinted in the Penna. Mag. Hist., App. 1887, p. 82. Moore (Diary, i. 520) reprints the account in the N. Jersey Gazette. Washington's instructions and his report to Congress are in Sparks (v. 100, 112, 115, 151, 154; Dawson, i. 364).
Other details are found in Sparks's Corresp. of the Rev., ii. 3, 7, 12, 18, 20, 42; Penna. Archives, v. and vi.; Chastellux's Travels, Eng. tr., i. 260; Hist. Mag., xxi. 77; Tuckerman's Com. Talbot; Hamilton's Repub. U. S., i. 297; Life of Pickering, i. 174; Greene's Greene, i. 501; Potter's Amer. Monthly, Feb., 1877.
[931] There is some confusion in the accounts of the grounds given for the defence (Arnold's Rhode Island, ii. 410).
[932] Pickering's Journal in his Life (i. 180); Knox's letters in Drake's Knox, 135, and in Leake's Lamb, 192; the account in Williams's Olney; and further in Gordon, Marshall (i. 178), Henry Lee's Memoirs; Reed's Reed (i. ch. 16); Almon, v.; Stone's Invasion of Canada (p. 75); Hist. Mag., Feb., 1872; Dawson, i. ch. 29, 30; Carrington (ch. 52); Lossing, etc.
[933] The broadside orders of the British commanders can be found in Sabin, xv. p. 577, etc.; Hildeburn's Issues of the press, under 1777 and 1778; some of them are in fac-simile in Smith's Hist. and Lit. Curios., 2d series.
[934] Those of Christopher Marshall; James Allen (Penna. Mag. of Hist., Oct., 1885, p. 278; Jan., 1886, p. 424); Robert Morton (Ibid., i. p. 1); Miss Sally Wister (Ibid., 1885 and 1886; Howard Jenkins' Hist. Coll. relating to Gwynedd; extracts in Watson's Annals); Margaret Morris, Private journal kept for the amusement of a sister, Philadelphia, 1836, p. 31,—(also copy in Sparks MSS., no. xlviii.); notes in Evelyns in America (also in Penna. Mag. Hist., 1884, p. 223). Cf. also a letter, Oct. 23, 1777, in Lady Cavendish's Admiral Gambier (also in Hist. Mag., v. 68); the letters of Samuel Cooper in Penna. Mag. Hist., April, 1886; the account of a Hessian captain, Henrich, is in the Schlözer Correspondenz, vol. iii.,—translated in Penna. Mag. Hist., vol. i. 46; cf. Lowell's Hessians, p. 100.
[935] Scharf and Westcott's Philadelphia; Sargent's André, p. 119; Penna. Mag. Hist., iii. 361, by F. D. Stone; Life of Esther Reed, p. 278, by W. B. Reed; United Service Journal, 1852. The house in Market Street, occupied successively by Washington and Howe as headquarters, is depicted in Lossing's Field-Book, ii. 302; Scharf and Westcott, i. 351; Brotherhead's Signers (1861), p. 3.
[936] The contemporary accounts of it are in the Annual Register, 1778, p. 264; Gent. Mag., August, 1778; Moore's Diary, ii. 52; Bland Papers, i. 90; Jones's N. Y. during the Rev., i. 242, 718. André played a conspicuous part and described it (Sargent's André, 168; Lossing's Two Spies, 46). Israel Mauduit made it the occasion of a severe condemnation of Howe in his Strictures on the Philadelphia Mischianza, or Triumph upon leaving America unconquered (London, 1779,—Sparks Catal., no. 2,550). Later accounts will be found in the Lady's Mag. (Philad., 1792); Anna H. Wharton's Wharton Genealogy, and her paper in the Philadelphia Weekly Times, May 25, 1878; Watson's Annals, vol. iii.; Egle's Penna., 185; Mrs. Ellet's Women of the Rev., i. 182, and Domestic Hist., etc., ch. 12; Lossing's Field-Book, ii. 303. Views of the Wharton house and other illustrations are in Smith and Watson's Lit. and Hist. Curiosities; Lossing; Scharf and Westcott (i. 377-380).
[937] Sparks's Washington, i. 276; v. 240, 522; Corresp. of the Rev., ii.; Custis's Recollections, ch. 9.
[938] Henry Dearborn's, the original of which is in the Boston Public Library, is printed in the Mass. Hist. Soc. Proc., Nov., 1886, p. 110; Surgeon Waldo's, in Hist. Mag., May, 1861, vol. v. p. 129; of John Clark, in N. Jersey Hist. Soc. Coll., vii. There is illustrative material among the John Lacey papers in the N. Y. State Library, and various letters from the camp in the Trumbull MSS. (vol. vi. pp. 46, 50,—from Jed. Huntington, speaking of their "shameful situation"); others in Hist. Mag., April, 1867; Mass. Hist. Soc. Proc., July, 1860 (v. 48), and Feb., 1874 (xiii. 243),—the last from Col. John Brooks. More or less of personal experience and observation of the suffering will be found in Greene's Greene (i. ch. 24, 25); Reed's Reed (i. ch. 17); Pickering's Pickering (i. 200); Read's Geo. Read (326); Hull's Rev. Services (ch. 12).
General treatment will be found in Bancroft (ix. ch. 27); Egle's Penna., 955; Irving's Washington (iii. ch. 27, 31); T. Allen's Origination of the Amer. Union (vol. ii.); Lossing's Field-Book (ii. 331); Mrs. Ellet's Domest. Hist.; T. W. Bean's Washington and Valley Forge; Potter's Amer. Monthly, May, 1875, and July, 1878.
[939] Col. H. A. Dearborn's, Jan. 12-Feb. 4, in J. H. Osborne's collection at Auburn, N. Y.; of a German battalion of Continentals, Jan., 1777-June, 1781, in the Penna. Hist. Society. General Wayne's was sold in the Menzies sale, no. 2,095 ($100); it covered Feb. 26-May 27, 1778, and had been used by Sparks, Irving, and Bancroft. One covering May-June is in the Boston Athenæum, extracts from which are in the Mass. Hist. Soc. Proc. (vii. 133), which speaks of the mud being removed towards spring from the chinks of the huts, to increase the fresh air. Records of some courts-martial are in the Moses Greenleaf MSS. (Mass. Hist. Soc.). Cf. Mass. Hist. Soc. Proc., vii. 133.
[940] Cf. further, on this reorganization of the army, Hamilton's Works, ii. 138; Bancroft, ix. ch. 27. In the spring (May 5th) a new impulse was given in this direction by the appointment of Steuben as inspector-general (Journals of Congress, ii. 539; Sparks's Washington, v. 349, 526; Greene's Hist. View, 233; Kapp's Steuben; Greene's German Element; Wells's Sam. Adams, iii. 2).
[941] Cf. Washington at Valley Forge, together with the Duché Correspondence (Philad., 1858?); Graydon's Memoirs, 429; Scharf and Westcott's Philadelphia; Wilson's Memoir of Bishop White.
[942] Cf. Simcoe's Journal; Reed's Reed, i.; Greene's Greene, i. ch. 24; Pickering's Pickering, i. 193; Graham's Morgan.
[943] Moore's Songs and Ballads, 209; Lossing's Field-Book, ii.; Mag. Amer. Hist., April, 1882, p. 296; Moore's Diary, ii. 5.
[944] Cf. Simcoe; Stedman, ii.; Dawson, i. ch. 33, 34; Lossing, ii. 344; Johnson's Salem, N. Jersey.
[945] Dawson, i. 386; W. W. H. Davis's John Lacey, Doylestown, 1868; Hist. Mag., vi. 167; Moore's Diary, ii. 41.
[946] Sparks, v. 368, 378, 545; Sparks MSS., xxxii., for Lafayette's narrative given to Sparks; Wilkinson's Memoirs, i. 822; Irving, iii. 33.
[947] Sparks, v. 320; Sparks MSS., lii. vol. iii.; Muhlenberg's Muhlenberg, chap. 5.
[948] Wayne's letter, May 21st, in Penna. Mag. Hist., April, 1887, p. 115; journal by Andrew Bell, Clinton's secretary, of the march through New Jersey, in N. Jersey Hist. Soc. Proc., vi., and journal of Joseph Clark in Ibid., vii. 93; Eelking, ch. 10; Mag. Am. Hist., Jan., 1879, p. 58. A British orderly-book, Philad., April-June, 1778, is in the Amer. Antiq. Society. The American vessels scuttled above the city were raised (Wallace's Bradford, 292).
[949] Sparks, v. 422, 431; Dawson, i. 412; Lee Papers, N. Y., 1872, p. 441. Cf. Recollections by Custis, ch. 5.
[950] Lee Papers, p. 467; Pa. Mag. Hist., ii. 139; Hamilton's Works, ed. Lodge, vii. 550; Hamilton's Repub. U. S., i. 468, 478.
[951] Sparks MSS., xxxii., printed in Sparks's Washington, v. 552, and his letter in Marshall's Washington, i. 255.
[952] By Col. John Laurens (Lee Papers, pp. 430, 449); by W. Irvine (Penna. Mag. Hist., ii. 139); by Colonel Richard Butler, July 23, 1778, to General Lincoln, in Sparks MSS., lxvi., and other light in the Lincoln papers as copied in Ibid., xii.; by Generals Wayne and Scott (Sparks's Corresp. of the Rev., ii. 150; Lee Papers, 438); by Wayne to his wife (Ibid., 448); by Knox (Sparks MSS., xxv.; Drake's Knox, 56); by Persifer Frazer (Sparks MSS., xxi.); the account in the N. Jersey Gazette, June 24, 1778 (Lee Papers); the narrative from the N. Y. Journal (Moore's Diary, ii. 66); the journal of Dearborn (Mass. Hist. Soc. Proc., Nov., 1886, p. 115); diary of John Clark (N. Jersey Hist. Soc., vii.). Cf. James McHenry in the Mag. of Amer. Hist., iii. 355.
[953] Other editions: Cooperstown, 1823; N. Y., private ed., 1864; Sabin, x. nos. 39,711, etc. It is reprinted in the Lee Papers (N. Y. Hist. Soc. Coll., 3 vols., 1873), as is also (iii. 255) Lee's vindication, printed in the Penna. Packet, Dec. 3, 1778. Cf. also Langworthy's Lee, p. 23; Sparks's Lee; Davis's Burr; Reed's Reed, i. 369; and the correspondence of Washington and Lee after the battle, in Sparks, v. 552, etc.
The Sparks MSS. contain various papers, including the statement of John Clark, who bore Washington's orders to Lee (dated Sept. 3, 1778), and a statement of John Brooks, who had personal knowledge of Washington's treatment of Lee in the field.
Sargent (André, 188) is inclined to acquit Lee of blame for his retreat at Monmouth.
Colonel Laurens called Lee out for using language disrespectful to Washington, when Lee was slightly wounded (account by the seconds in Hamilton, Lodge's ed., vii. 562).
The more general accounts, early and late, are in Marshall (iii. ch. 8,—who was present); Heath's Memoirs (p. 186); Hull's Rev. Services (ch. 14); Reed's Reed (i. ch. 17); Williams's Olney (p. 243); Armstrong's Wayne; Washington, by Sparks (i. 298), and Irving (iii. ch. 34, 35); Drake's Knox; Kapp's Steuben (p. 159); Quincy's Shaw (ch. 4); Hamilton's Hamilton (i. 194), and his Repub. U. S. (i. 471); Bancroft (ix. ch. 4); Gay (iii. 603).
Henry Armitt Brown delivered the oration in the Centennial ceremonies (Memoir with orations, edited by J. M. Hoppin, Philad., 1880).
Critical examinations of the battle have been made by Gen. J. W. De Peyster in the Mag. Amer. Hist., July and Sept., 1878; March and June, 1879; cf. 1879, p. 355 (by J. McHenry); by Dawson (ch. 37, praised by Kapp); and by Carrington (ch. 54-56).
Cf. for various details, C. King in N. J. Hist. Soc. Proc., iv. 125; Amer. Hist. Rec., June, 1874; Barker and Howe's Hist. Coll. N. J.; Linn's Buffalo Valley, 159; the Moll Pitcher story in Mag. Amer. Hist., Sept., 1883, p. 260, and Penna. Mag. Hist., iii. 109. For a visit to the field a few days after the battle, U. S. Mag., Philad., 1779, by H. H. Brackenridge, reprinted in Monmouth Inquirer, June, 1879. For landmarks, Lossing's Field-Book, ii. 356, and Harper's Mag., vii. 449, lvii. 29.
[954] Cf. further Simcoe's Journal; Stedman (ii. ch. 22); Murray (ii. 448); Mahon (vi. ch. 58).
[955] Vol. v. 483-518; cf. also Ibid., i. 266; v. 97, 390; and his Gouverneur Morris, i. ch. 10.
[956] Hamilton's Works, i. 100; J. C. Hamilton's Repub. U. S., i. 339; Irving's Washington, iii. ch. 25.
[957] Vol. i. 311; v. 530 (App.); vi. 106, 114, 149. There are extracts from the Lafayette papers in Sparks MSS., no. xxxii. Cf. Marshall, iii. 568; Irving, iii. 334; Jay's Jay, i. 83; Stone's Brant, ch. 14.
There is a good account of the conspiracy in Greene's Greene (ii. p. 1; also see i. 22, 34, 483). The account in the Memoirs of Wilkinson (i. ch. 9) is called grossly inaccurate in Duer's Stirling (ch. 7). Cf. Lossing's Schuyler (ii. 390); Kapp's De Kalb; Hamilton's Hamilton (i. 128-163); Reed's Reed (i. 342); Wirt's Patrick Henry (p. 208); Stone's Howland (ch. 5); Marshall's Washington (iii. ch. 6); Irving's Washington (iii. ch. 25, 28, 29, 30); Bancroft (ix. ch. 27); Lossing's Field-Book (ii. 336); the account of Col. Robert Troup, written for Sparks in 1827 (Sparks MSS., xlix. vol. i. no. 3); Dunlap's New York, ii. 131, and a note in Sargent's Stansbury and Odell, p. 176.
[958] Vol. x. 378.
[959] It was at this time, Feb., 1779, that a story reached Christopher Marshall, in Lancaster, Pa., that Arnold had gone over to the British. Hist. Mag., ii. 243.
[960] Report to Germain.
[961] Life and Treason of Arnold.
[962] Life of André.
[963] Clinton says Arnold "found means to intimate to me", etc.
[964] The question of Mrs. Arnold's privity to her husband's plot has been much discussed, but most investigators acquit her. Her innocence is maintained by Irving (Washington, iv. 151), Isaac N. Arnold (Arnold ch. 17), Sargent (André, p. 220), and Sabine (Loyalists, i. 122). The chief accusations are in Leake's General Lamb, 270, and in the Lives of Aaron Burr by Davis (i. 219) and Parton (p. 126). Cf. Mrs. Ellet's Women of the Rev., ii. 213; Stone's Brant, ii. 101; Reed's Joseph Reed, ii. 373. The scene in which she showed disorder of mind, when she accused Washington of attempting to kill her child, is held by some to have been mere acting. (Cf. Jones, N. Y. during the Rev., i. 745.) It seems clear that she did not wish to join her husband when the authorities of Pennsylvania drove her to New York.
[965] He wrote to Gates, "By heavens! I am a villain if I seek not a brave revenge for injured honor!" Bancroft, ix. 335.
[966] Sparks's Washington, iv. 344, 351, 408.
[967] Irving's Washington, iv. 96.
[968] Sparks's Washington, v. 529; Austin's Gerry, i. 356.
[969] The writing in which Washington conveyed this reprimand is about the most adroit piece of literary composition which we have from his pen, and he contrived, while complying with the sentence of the court, to signify his estimate of the venial character of the offences, and to pronounce what some have considered a practical eulogy on a brilliant soldier. (Isaac N. Arnold's Arnold, Irving's Washington.) The former book gives a full examination of Arnold's career during his command in Philadelphia (chapters 12-14). For the trial, see Sparks's Washington, vi. 231, 248, 261, and App. p. 514. The trial closed Jan. 26, 1780. Congress ordered the report of the trial to be printed: Proceedings of a general Court-Martial for the trial of Benedict Arnold. Philadelphia, 1780. It was reprinted in a few copies for presentation, with introduction, notes, and index, by F. S. Hoffman, in New York in 1865. A letter of Arnold, transmitting the report to President Weare of New Hampshire, dated March 20, 1780, is in MS. Miscell. Papers, 1777-1824, vol. i. p. 156 (Mass. Hist. Soc. library).
[970] It is believed that the writer of this letter was Beverley Robinson, a loyalist in the British service. The letter is only known through the French version in Marbois' Complot, and it has not passed without some suspicion of its genuineness. (Cf. Arnold's Arnold, p. 275; Sargent's André, 446; Mag. of Amer. Hist., Sept., 1878, p. 756; Reed's Jos. Reed, ii. 54, etc.)
[971] Several attempts at invasion from Canada are supposed to have been timed in unison with Arnold's plot (Hough's Northern Invasion, New York, 1866; Lossing's Schuyler, ii. 407.)
[972] Sparks's Washington, iii. 2; Irving's Washington; Lossing's Schuyler, ii. 52; Arnold's Arnold.
[973] For views of this house, see Boynton's West Point; Lossing's Field-Book, ii. 140; his Hudson, 236; his Two Spies, p. 95; Harper's Mag., iii. 827. Cf. Sargent's André, 263; Mag. of Amer. Hist. (Feb., 1880), iv. 109, by C. A. Campbell.
[974] Johnson says (Mag. of Amer. Hist., viii. 731) that Varick's papers show that Arnold's letter to Anderson of Aug. 30th never reached André, though Sparks and Sargent print it as having been received. This is the letter which Sargent supposes may have been conveyed to André by Heron. This and Arnold's of Sept. 15th are the only ones of "Gustavus" preserved. Fac-similes of a part of one of these letters, with a portion of one of "Anderson's", are given in Sparks's Arnold; in Lossing's Field-Book, ii. 146; in the Cyclop. of U. S. Hist., ii. 1410, etc. Cf. Harper's Monthly, lii. 825. Fac-similes of Arnold's passes are in Lossing, ii. 155. These passes are printed in Dawson's Papers, 60; H. W. Smith's Andreana; McCoy's edition of the Proceedings, etc., and in other places.
[975] There are views of this house in the Mag. of Amer. Hist., i. 25; Lossing's Field-Book, ii. 152; Harper's Mag., iii. 829; his Two Spies, 82; his Cyclop. U. S. Hist., ii. 1411.
[976] This view is given in Lossing's Field-Book, ii. 185.
[977] Percy Greg, in his History of the United States (London, 1887), vol. i. p. 304, thinks Joshua Smith was in the pay of Washington, and persuaded André to put on a disguise in order that he might be condemned as a spy if caught! This opinion is of the character of most of the speculations in the book; of course it condemns the execution.
[978] Sargent's André, p. 306.
[979] These papers, having been used in André's trial, were passed over to Governor Clinton to be used in the civil trial of Smith, and from Clinton's descendant Sparks procured them when he was writing his Life and Treason of Arnold. Lossing also got them from the same source, and collated them with Sparks's copies before he printed them in his Field-Book, ii. 153. They were subsequently bought by the State of New York, and are now in the State library at Albany. They have since been printed by McCoy in his edition of the Proceedings of André's examination; by Boynton in his West Point, ch. 7; by Dawson in his Papers ("Gazette series"), 51; in the Appendix of his edition of Smith's trial, and in Revolutionary Relics or Clinton Correspondence, comprising the celebrated papers found in André's boots, etc., published originally in the N. Y. Herald, N. Y., 1842 (Menzies, no. 1,687); and in Cent. Celeb. of the State of N. Y. (1879).
[980] There is a view of his quarters in Lossing's Field-Book, ii. 188.
[981] View of the breakfast room in Lossing's Field-Book, ii. 158.
[982] Some memoranda of his aide, Colonel Varick (Mag. of Amer. Hist., viii. 727) show that Arnold's movements were hastened by the arrival of Washington's servant at this moment, announcing the near approach of his master.
[983] They were subsequently released in New York. Dr. William Eustis's account of this flight to the "Vulture", written May 8, 1815, is in the Mass. Hist. Soc. cabinet (Letters and Papers, 1777-1824, vol. ii. 206), and is printed in their Collections, xiv. 52. Its purport is to emphasize the patriotic resistance of the boatmen to Arnold's offers for their desertion. He says some of them were sent ashore in an inferior boat, Arnold keeping the barge. Cf. Heath's Memoirs.
[984] The Varick memoranda (Mag. of Amer. Hist., viii.) would seem to indicate that Varick, Franks, and Dr. Eustis had already begun to be suspicious, and Arnold's barge had been observed by some one to go down stream and not to West Point.
[985] Arnold had, before leaving, cautioned this messenger to keep quiet, and this also becoming known increased the suspicion of his aides (Mag. of Amer. Hist., viii.).
[986] These aides were Colonel Richard Varick and Major David S. Franks. Henry P. Johnston, in a paper, "Colonel Varick and Arnold's Treason", printed in the Mag. of Amer. Hist., Nov., 1882 (viii. p. 717), has thrown some new light, from papers of Colonel Varick, on the life at Robinson's house previous to the flight of Arnold, and on the evidence, both of Varick, Franks, and Dr. Eustis, brought out before a board of inquiry, Nov. 2, which acquitted these officers of any complicity in the plot. On the night when Smith had been dragged from his bed and put in confinement, Arnold's aides had been put under arrest. This paper also shows, from a deposition of General Knox, that Varick had found in one of Arnold's trunks, after his desertion, some plans and profiles of the West Point works.
[987] These orders are in Dawson's Papers, p. 63. Colonel Lamb had command of the immediate works at West Point at the time; but being absent, Col. Nathaniel Wade had temporary charge (Ipswich Antiq. Papers, ii. no. 19). Lamb's orderly-book, July-Dec., 1780, is owned by the Cayuga County Hist. Society.
St. Clair succeeded Arnold in command of the post, and his instructions from Washington are in the St. Clair Papers, i. 528.
[988] There are views of the De Wint house at Tappan, occupied by Washington as headquarters, in the Mag. of Amer. Hist. (v. 105; cf. p. 21), with a paper by J. A. Stevens. Cf. also Irving's Washington, 4o ed., vol. iv.; Lossing's Field-Book, ii. 196, etc., his Hudson, p. 336, and his Two Spies, 100; Ruttenber's Orange County (1875), p. 215.
The house in which André was confined, known as the "Seventy-six Stone House", is described, with a plan of its rooms and the village, and a view of the building, in the Mag. of Amer. Hist., (Dec., 1879), iii. p. 743, etc. Cf. Lossing's Two Spies, 97. The earliest description was written in 1818, and is cited in the Mag. of Amer. Hist., v. 57.
[989] It is only within a few years, and since the publication of Clinton's record of the secret service of headquarters, that it has been known that Gen. S. H. Parsons, of Connecticut, was at this time acting as a spy for the British general. André, who saw him in the court, may have known this.
[990] Proceedings of a board of General Officers, by order of General Washington, ... respecting Major John André, ... Sept. 29, 1780; to which are appended the several letters which passed to and from New York on the occasion. Published by order of Congress (Philad., 1780). There is a copy in Harvard College library, and others are noted in Menzies (no. 63, $63); Morrell (no. 20, $26); Brinley (ii. no. 3,937); John A. Rice (no. 45, $67.50). There were editions the same year at Hartford (Brinley, ii. 3939) and at Providence (no date; Cooke, iii. 91, now in Harvard College library). Cf. also N. Y. Gazette, Nov. 6, 1780, and Political Mag., i. 749. It was reprinted in London, 1799, in conjunction with Dunlap's Tragedy of André. Later reprints are:—
Proceedings, etc., A Reprint with additional matters (Philad., 1865; 50 copies in quarto, 100 in octavo). Andreana: containing the trial, execution, and various matters connected with the history of Maj. John André (Philad., 1865), with an introduction by Horace W. Smith (Brinley, ii. 3943; Cooke, iii. 94). Minutes of a Court of Inquiry upon the case of Maj. John André, with accompanying documents and an Appendix (Albany, 1865; privately printed, 100 copies, for John F. McCoy; Brinley, ii. 3941; Cooke, iii. 92).
Sargent, in printing it in his André, collated the original MS., which is preserved at Washington. It is also to be found in Boynton's West Point, 127; in Dawson's Papers (Gazette series). The Cooke Catalogue (iii. 92) gives an edition, New York, 1867.
The original edition (1780) contains: Washington's letter, Sept. 26th, to the president of Congress; André's letter to Washington, Sept. 24th; Arnold's letter to Washington, Sept. 25th; B. Robinson's to Washington, Sept. 25th; Clinton to Washington, Sept. 26th; Arnold to Clinton, Sept. 26th; and the award of the court. The appendix has André's letter to Clinton, Sept. 29th; Washington to Clinton, Sept. 30th; Arnold's commission left at West Point; Arnold to Washington, Oct. 1st; André to Washington, Oct. 1st.
André's statement is not given in full, but only in substance, in this volume, but it is included as written by him in Sargent, p. 349; Boynton's West Point; Dawson's Papers. (Cf. Amer. Bibliopolist, 1870, p. 15.)
[991] By Clinton and Capt. Sutherland of the "Vulture", dated Oct. 4th and 5th. They are in the Sparks MSS., vol. lviii. Cf. Sargent, p. 385.
[992] One of these is preserved in the Trumbull gallery at New Haven. It represents André himself sitting in a chair at a table on which is an inkstand and pen. It has been engraved in fac-simile in Sparks's Arnold, 280; in Lossing's Field-Book, ii. 203; in George C. Hill's Arnold, etc. Another is a sketch of the landing by boat from the "Vulture", showing André rowed ashore. An aquatint engraving from it was published in New York in 1780, of which there is a reproduction in Harper's Mag., lii. p. 835, and Lossing's Two Spies. Cf. Mag. of Amer. Hist., vol. xiii. (Feb., 1885), p. 173, for a paper by L. Wilson on André's landing-place at Haverstraw.
[993] An engraving of the scene is given in Barnard's History of England (p. 694), which is reproduced in H. W. Smith's Andreana.
[994] The amount of the removal by James Buchanan, who effected it, is in the United Service Journal, Nov., 1833. Cf. for other details W. Sargent's André; Stanley's Westminster Abbey; Penna. Hist. Soc. Mem., vi. 373; N. Y. Evangelist, Jan. 10 and Feb. 27, 1879; Mag. of Amer. Hist., iii. 319; L. M. Sargent's Dealings with the Dead, i. 58.
[995] This monument has been often represented in engravings (for the first time in The Universal Mag., 1782; cf. Lossing's Field-Book; Cyclo. U. S. Hist., i. 46; Two Spies; and guide-books to the Abbey). Germain informed Clinton, Nov. 28, 1780, that a pension had been bestowed on André's mother, and the offer of knighthood made to his brother, "in order to wipe away all stain from the family."
Col. John Trumbull, who had been Washington's aide, was arrested in London with threats of retaliatory treatment; but he was released at the intercession of Benjamin West, the painter. Trumbull tells the story in his Autobiography. Cf. Walpole's Last Journal, ii. 434, 436.
[996] View of it in Lossing's Two Spies, 109; his Field-Book, ii. 204. It was placed there in 1847.
[997] View and account in Lossing's Two Spies, 110.
[998] The amount received was £6,315 (Sargent's André, 450). He issued an address of exculpation to the inhabitants of America, dated New York, Oct. 7, 1780, which is printed by Isaac N. Arnold (p. 330) from the original MS. in a text varying slightly from other printed copies, as in the Political Mag., i. 734. A fortnight later (Oct. 20th) he issued a proclamation to induce defection among the officers and soldiers of the army, the original draft of which is among the Force Papers in the library of Congress. It is printed in I. N. Arnold, p. 332; in Polit. Mag., i. 766, etc.
Sargent thinks that a vindication of Arnold which appeared in Remarks on the Travels of M. de Chastellux, London, 1787, was instigated by Arnold himself.
[999] Cf. "Arnold at the Court of George III.", by I. N. Arnold, in Mag. of Amer. Hist., Nov., 1879, and in his Life of Arnold. Cf. Sargent's André, App. i.; and Walpole's Last Journal, ii. 493, 494, 501, 511.
[1000] Mag. of Amer. Hist., Oct., 1883, p. 307; Amer. Hist. Record, iii. 495; N. E. Hist. and Geneal. Reg., xxxiv. 196.
[1001] The original records of this trial are said to have disappeared from the State archives at Albany, but they had been printed in the New York Herald. Dawson reprinted this Herald text in the Historical Mag., vol. x., July-Nov., 1866, and issued it separately as Record of the trial of Joshua Hett Smith, Esq., for alleged complicity in the treason of Benedict Arnold, 1780, Ed. by H. B. Dawson (Morrisania, 1866). Sparks made use of the record; and the evidence has been examined in P. W. Chandler's American Criminal Trials, ii. 155, 183. The Gentleman's Mag., 1780, Supplement, p. 610, gave an account of the trial and printed the chief documents.
[1002] Sargent's André, p. 281.
[1003] Smith published in London in 1808, and there was reprinted in N. Y. in 1809, A Narrative of the causes which led to the death of Major André (Cooke, iii. 101; Brinley, ii. 3,954). Sargent found that it must be used with caution. Sparks says (p. 298) that as "a work of history this volume is not worthy of the least credit, except where the statements are confirmed by other authorities."
[1004] Sargent, 266; George W. Greene, Hist. View. Marbois was translated by Walsh in the Amer. Register, vol. ii. Cf. a French view in Léon Chotteau's Les Français en Amérique, p. 199.
[1005] There are in the Sparks MSS., xlix., no. 14, various papers used by Sparks in writing his life of Arnold, including the action of Congress on the seizure of Arnold's papers, and copies of the papers; letters written in 1833-1834 to Sparks and others, by David Hosack, Benj. Tallmadge, James Thacher, Nathan Beers, Professor Woolsey, John D. Dickinson, Samuel Eddy, James Lanman, James Stedman, J. Bronson, and William Shimmin,—mainly reminiscences. Cf. for some of these letters, the Mag. of Amer. Hist., Dec., 1879. Copies of Arnold's letters from Philadelphia in 1779-1780 are in Ibid., lii. vol. ii. no. 3. There is a "Genuine history of Arnold by an old acquaintance" in the Political Mag., i. 690.
[1006] Duyckinck's Cyclo. Am. Lit. Suppl., p. 130.
[1007] André had been a prisoner at Lancaster, Pa., after his capture at St. John, Nov. 2, 1775, to Dec., 1776, when he was exchanged. He was paroled in Feb., 1776 (Penna. Mag. of Hist., i.). Afterwards he served with General Grey, and in 1780 was placed on Clinton's staff. There are contemporary accounts of him by "intimate friends" in Political Mag., i. 688; ii. 171. His lineage is traced by J. L. Chester in Mass. Hist. Soc. Proc., March, 1876 (xiv. 217). His will is in the N. E. Hist. and Gen. Reg., vi. 63, and in Dawson's Papers, 241. For bibliography, see Sabin, i. no. 1,449, and Mag. of Amer. Hist., viii. pp. 61, 145, 149. A daily record of his life from Sept. 20 to Oct. 2, 1780, is Ibid., iii. 157 (1879). On his career in general, see articles in No. Amer. Review, vol. xxxviii., by Bancroft and Bigelow; vol. lxxx., by Sargent; vol. xciii., by C. C. Smith; Harper's Mag., 1879, p. 619; N. Y. Semi-weekly Evening Post, March 3, 1882; Earl Stanhope's Miscellanies; Atlantic Monthly, Dec., 1860; L. M. Sargent's Dealings with the Dead; Sabin's Amer. Bibliopolist, 1869-1870; N. Jersey Hist. Soc. Proc., 1876; Poole's Index, p. 38.
The Monody on Major André by Miss Seward, to which are added letters addressed to her by Major André in 1769, was published at Lichfield, Eng., in 1781, and reprinted in New York in 1792; in Boston, 1798 (fourth Amer. ed.); in Smith's Narrative, London, 1808; in Lossing's Two Spies, N. Y., 1886. Cf. The Galaxy, Feb., 1876.
His fate has been the subject of several tragedies: by William Dunlap (1799); by W. W. Lord (1856); by George H. Calvert (1864), etc. W. G. Simms has examined the story as a subject for fiction in his Views and Reviews.
[1008] It passed to a second edition in 1871. A company orderly-book showing the disposition of troops at West Point on the discovery of the plot is in the Mass. Hist. Soc. (Proc., xix. 385).
[1009] Orig. ed., x. 395; final revision, v. 438, where, contrary to his custom, he retains a part of his note.
[1010] Isaac N. Arnold was of very remote kin to Benedict. He had access to the Shippen Papers, the papers owned by Arnold's descendants in England and in Canada, and used the letters of Arnold, his wife and sister, in the Department of State. His praise of Arnold's "patriotism" in the earlier years of the war, which he thought was evinced by his brilliant acts in the field, induced a paper by J. A. Stevens on "Arnold and his Apologist" (Mag. of Amer. Hist., March, 1880), who contended that there was "no evidence that the heart of Arnold ever beat with one patriotic thrill." The biographer, while condemning the treason, makes the best show which he can of the provocations which led Arnold to be false. He adds considerable that is new to Arnold's story. Mr. I. N. Arnold died in 1884, and addresses upon him before the Chicago Hist. Society were printed.
Lossing has written much on the subject of Arnold's treason: Field-Book, ii. ch. 6, 7, and 8; Harper's Monthly, iii., xxiii., and liii.; Two Spies (Hale and André), N. Y., 1886. Cf., on these two spies, Hull's Rev. Services.
Other American treatments of the subject are in the lives of Washington by Marshall (iv. 274) and Irving (iv. ch. 9-11); Greene's Greene (ii. 227); Leake's Lamb, ch. 19 and App. D; Reed's Reed, ii. 252 Hamilton's Hamilton, i. 262; Quincy's Shaw, 77; Dunlap's New York, ii. ch. 13; E. G. Holland's "Highland Treason", in his Essays; Winthrop Atwill's Treason of Arnold, Northampton, 1837; Niles's Register, xx.
[1011] There remained for a long time no doubt as to the unalloyed patriotism of the three men who captured André. Washington praised their resistance to bribes, and Congress gave them a medal (figured in Loubat's Medallic Hist. U. S., and in Lossing's Field-Book, ii. 205). Some of those who came in close contact with André after his capture, and heard his account of the arrest, were convinced that André felt that if he could have made any considerable sum certain to them they would have let him go. This belief, on their part, of these keepers of André did not come to public notice till, in 1817, John Paulding, one of the captors, and the leader of them, petitioned Congress for an additional pension. This gave occasion to Benj. Tallmadge, who had been André's chief-keeper, and who was then in Congress, to oppose the bill on the grounds of André's statements. The Journals of the House of Representatives show the debate, which is reprinted in Dawson's Papers, 127. A letter of Gen. Joshua King, also in André's confidence at the time, confirms Tallmadge's view, and there is also a similar statement by Bowman, one of André's guards (Sparks's Arnold; Notes and Queries, ix.; Niles's Register; Hist. Mag., i. 204, 293; iii. 229; Dawson's Papers, 45; Jones's N. Y. during the Rev., i. 733; Boston Sunday Herald, Sept. 14, 1879).
The captors did not want for friends. Judge Egbert Benson published a Vindication of the Captors of Maj. André, 1817 (cf. Analectic Mag., x. 307), which was reprinted in N. Y. in 1865, in two editions, with additional matter, one by Sabin, the other by Hoffman. John Paulding, the son of one of the captors, published a paper in their defence (Hist. Mag., i. 331). The three captors were then all living, and each made statements and affidavits respecting the event. These can be found, whole or in part, in Benson; in the Hist. Mag., ix. 177, xviii. 365; in Dawson's Papers, 119, 123, 182; in H. J. Raymond's Address (N. Y., 1853) at Tarrytown; in Cent. Celebrations of N. Y. (1879); in Sabin's Amer. Bibliopolist, 1869, p. 335; in Simms's Schoharie County, 646. Sargent thinks that Paulding (of whom there is a portrait in H. W. Smith's Andreana) was the one of the three that most firmly resisted André's bribes.
A monument was erected at Tarrytown in 1853, when Henry J. Raymond delivered an address; it was remodelled in 1883, and capped with a statue of a captor, when Chauncey M. Depew spoke in defence of the good names of the captors; and a Centennial Souvenir was prepared by Nathaniel C. Husted (N. Y., 1881). Monuments have been erected at the graves of the three captors: for Paulding's and Van Wart's, see Lossing's Field-Book, ii. 171, 192; for Williams's, erected at Old Fort Schoharie in 1876, when addresses were given by Daniel Knower and Grenville Tremain, see Centennial Celebrations of the State of N. Y. (Albany, 1879). For memorials of Williams, see Mag. of Amer. Hist., Feb., 1887, p. 168.
A letter of Maj. Henry Lee describing the capture is in the Penna. Mag. of Hist. (1880), iv. 61. Cf. Amer. Hist. Rec., Dec., 1873; Potter's Amer. Monthly, vii. 167; Bolton's Westchester, i. 213.
Respecting André in confinement, Major, later Colonel, Tallmadge has left several statements,—letters, Sept. 23, 1780 (Sparks MSS., xlix. vol. iii.); to Heath, Oct. 10, 1780 (Heath MSS., printed in Dawson, 194, and in Sargent, 469); his letters to Sparks in 1833-4 (Mag. of Amer. Hist., 1879, pp. 748, 752); his Memoir, privately printed by his son, F. A. T., and the extracts from it (Hist. Magazine, Aug., 1859; and Dawson's Papers).
Washington gave his version of the conspiracy at a dinner-table in 1786, which is contained in Richard Rush's Washington in Domestic Life, being letters addressed to his secretary, Lear, 1790-97 (also in Dawson, 139). There are many references in the letters of 1780 in Sparks's Washington (vii, 205, 212-222, 235, 241, 256, 260-65, 281, 296, and in the App. pp. 520-552, most of the documentary proofs), and in his Letters to Washington (iii. 101-111), much of which is given in Dawson.
Several letters of Hamilton, contained in his Correspondence, are of interest: one to Greene; one to Miss Schuyler, usually dated Oct. 2, but Bancroft says it is without date and must have been written later, and, as usually printed, has omissions and interpolations. Of particular value is a letter of Hamilton's to Henry Laurens, in which he wished André's desire for a soldier's death could have been gratified (Lodge's ed. Works, viii.; Dawson; H. W. Smith's Andreana; McCoy's ed. Proceedings. Cf. Pennsylvania Packet, in Moore's Diary, ii. 333).
Lafayette's account is in his Memoirs, Eng. trans., N. Y., i. 253-56, 349, as well as letters to Luzerne and others (Dawson, 204, etc.). Sparks held various conferences with Lafayette in later life, and his notes are in the Sparks MSS., xxxii. J. F. Cooper, in his Notions of the Americans picked up by a travelling Bachelor, has an account which he says he derived from Lafayette in later years and from a British officer who had heard Arnold tell his story at a dinner.
In Dawson's Papers are included various other contemporary accounts: letters of Alex. Scammell (Oct. 1st, in Mass. Hist. Soc. cabinet; Misc. Papers, 1777-1824, i. 192; Oct. 3d, in Hist. Mag., xviii. 145; and Farmer and Moore's Hist. Coll. N. H.); of Anthony Wayne, Sept. 27 and Oct. 1, 1780 (Amer. Bibliopolist, 1870, p. 62); extracts from the Bland Papers, ii. 33-38; and Maj. Samuel Shaw to the Rev. Mr. Eliot, in Shaw's Journals, 77-82.
Some papers of Timothy Pickering, formerly possessed by the Hon. Arad Joy, of Ovid, N. Y., and now in the War Department, were printed in the N. Y. Tribune. Letters of General Greene are in Greene's Greene, ii. 227-40, and in the R. I. Col. Records, ix. 246, and in the R. I. Hist. Coll., vi., and one of R. R. Livingston in the Sparks MSS., xlix. vol. iii. Moore's Diary (ii. 323, etc.) gives various contemporary newspaper reports.
The records of observers of André's last hours and execution have been precise: Dr. Thacher's Military Journal, 274 (Dawson, 130; McCoy; Smith's Andreana, 58), and his additional statements, together with Maj. Benjamin Russell's account in the N. E. Mag., vi. 363 (also in Dawson and Andreana); letter of Col. Van Dyk in 1821 (Hist. Mag., Aug., 1863, vol. vii. 250); Todd's Joel Barlow, 35; the Military Journal of Gen. Henry Dearborn, a MS. (J. W. Thornton's sale, no. 284, bought by Dr. T. A. Emmett); Mag. of Amer. Hist., 1879, p. 574; Amer. Whig Rev., v. 381; Southern Lit. Messenger, vii. 856; xi. 193; Sparks's Arnold (p. 255); Irving's Washington (iv. 149, 157); Sargent's André, 395; and others cited by Dawson.
[1012] In a letter by Clinton, Oct. 11, 1780, to Germain, he details in an accompanying narrative the rise of the correspondence with Arnold, which began eighteen months before. Sargent notes it as being in the State Paper Office, "America and West Indies, vol. cxxvi.", and says it has not been printed. The Sparks MSS. (no. xxxii.) has a copy, where is his next letter of the 12th, telling the story of André's execution, which is printed in the Remembrancer, vii. part 2, p. 343, and in Dawson, p. 240. Clinton also wrote to Lord Amherst on the 16th; and on the 30th he wrote a secret letter to Germain, in which he says that he has paid £6,315 to Arnold (Sparks MSS., xxxii. and xlviii.). Germain's letters to Clinton and Arnold of Nov. 28th and Dec. 7th are in Sparks MSS., xlviii. On a fly-leaf of Stedman's History of the Amer. War, Clinton, having dissented to that writer's narrative (vol. ii. p. 249,—given in Dawson, 196), wrote what he called an extract from his MS. History of the War, no other portion of which is known. This is printed in Mahon, vii. App.; Sargent's André; Dawson, p. 177, and Jones's N. Y. during the Rev., vol. i. App. p. 737. Washington in this extract is severely criticised, and this is also the case in a pamphlet, The Case of Major John André, who was put to death by the Rebels, Oct. 2d, 1780, candidly represented, with remarks on said case (pp. 28), New York, Rivington, 1780,—a copy in proof-sheets in the Carter-Brown library, being the only one known, and it has been supposed that it was prepared under Clinton's supervision and suppressed (Sargent, 274; Mag. of Amer. Hist., Dec., 1879, iii. 739). The introduction is dated N. Y., Nov. 28, 1780.
Cf. also Simcoe's Mil. Journal of the Queen's Rangers, pp. 150, 292 (in Dawson, 149, 151). Simcoe offered to try to rescue André. Mahon's England, vii. ch. 62; journal of Gen. Matthews, cited in Balch's Les Français en Amérique. A long letter on the conspiracy and events attending it, varying in some ways from the American account, and possibly furnishing Arnold's story, was written by Andrew Elliott to William Eden, Oct. 4 and 5, 1780, and is among the Auckland MSS. in the Cambridge University library (England). Mr. B. F. Stevens has furnished to me a printed copy of it. The account in Jones's N. Y. during the Rev. (i. 370) misses or perverts the story throughout, and gives that writer the occasion to abuse Clinton, which he does not fail to use. Any opinion of Jones is liable to be confused by his cynical and misplaced irony, which singularly accords with the countenance of the man as portrayed in his picture.
[1013] The questions at issue were these: Was André protected by a flag? Arnold says Yes, and André himself says No. They were the principal parties who could know the fact. If there was a flag, does such use of a flag come within the purport of the military law which defines flags? Is the question of good faith in flags one only between the giver and the receiver of a flag, and can the giver of a flag act in good faith to the receiver and with perfidy to his own principal, with that perfidy known to the receiver? Can the passport of a general engaged in treasonable correspondence with the enemy protect an officer of that enemy when clothed in a disguise and bearing papers to the enemy, such as might give that enemy an unfair advantage?
These are questions which Washington and the board of inquiry and all American writers have decided in the negative. Clinton, in his notes on Stedman already referred to, Cornwallis (Corresp., i. 78), Simcoe (Mil. Journal, pp. 152, 294), and other British military writers then, as well as historians like Adolphus (Hist. England, iii. ch. 39) and Mahon (both in his History, vii., and his Miscellanies), have supported the affirmative view. The most conspicuous dissent to the general English opinion at the time was Sir Samuel Romilly, in a letter to Roget, Dec. 12, 1780 (Memoirs, i. 140, quoted in P. W. Chandler, Amer. Crim. Trials). The more reasonable among the Tories, like Curwen (Journal, p. 323), defended the sentence. Later English military writers like Mackinnon (Coldstream Guards), and historians like Massey (England, iii. ch. 25) and Lecky (England, iv. 155), have held that "the justice of the sentence cannot be reasonably impugned;" and this seems to be the drift of the best current English opinion to-day (cf. Dawson's Papers, 211, etc.; Sargent, p. 413, who in chapter 22 gives the characters of the members of the board, which English writers have attacked), though there is an occasional exception. The Saturday Review, for instance, in 1872 (Amer. Bibliopolist, Oct., 1872), contended that a technical construction of the law should not have guided Washington. The last considerable discussion of the case was raised by Mahon, whose views were controverted in Chas. J. Biddle's Case of Major André (Penna. Hist. Soc. Mem., vi. 317-416, Philad., 1868; Hist. Mag., i. 193), and in Arnold's Life of Arnold. Irving (Washington, iv. 101) is the most signal instance among American writers of the power to hold the judgment apart from sympathetic emotion, when he pronounces André's exploits are "beneath the range of a truly chivalrous nature." (Cf. Bancroft, x. 393, and Mag. Amer. Hist., Dec., 1885, p. 620.) There is some evidence to show that André in the spring of 1780 had been a deliberate spy at Charleston.
If there are any aspects of the circumstances attending the discovery of the plot with which one would willingly dissociate the name of Washington, it is the countenance which he gave to the proposition to Clinton to exchange André for Arnold, and his encouragement of the attempt of Sergeant Champe, a little later, to abduct Arnold from New York. Henry Lee (Memoirs of the War in the Southern Department, ii. 159-187; R. E. Lee's ed., p. 394) gives the most detailed account of Champe's connived-at desertion, but he evidently mixes together the later with the earlier incident, and has brought the story in some minds into the category of myths. Lee's story appeared in New York in 1864 in a separate brochure as Champe's Adventures in attempting to capture Gen. Arnold (pp. 48). The House Reports, no. 486, Twenty-seventh Congress, 2d session, ii. (1842), show a petition of "Sergeant-Major Champe" for reward for services. Cf. Sparks's Washington, vii. 546; Niles's Principles, etc. (1876), p. 307; Arnold's Arnold, 336; Sargent's André, 451; Lossing's Field-Book, ii. 207.
[1014] Lincoln's order-books bear witness to the seriousness of the trouble. Even Moultrie became alarmed, and wrote to C. C. Pinckney that he was afraid lest by straining after too much liberty they might lose all.
[1015] A court-martial, presided over by Moultrie, censured Ashe for his lack of the proper precautions, while acquitting him of the charge of cowardice on the field of battle.
[1016] Curry, the deserter, was taken at Hobkirk's Hill by his former friends and hanged.
[1017] The Santee in its upper course as far as the line separating the two Carolinas is known as the Catawba; thence to its junction with the Congaree it is called the Wateree. The three names should be borne in mind.
[1018] It seems, however, tolerably certain that he had greatly overestimated the size of his army, rating it at seven thousand, while in reality the returns showed an effective force of only "three thousand and fifty-two, rank and file." When Williams explained this to Gates, the latter replied: "Sir, the number of the latter (privates) are much below the estimates formed this morning; but these are enough for our purpose." It seems never to have occurred to Gates that Cornwallis would attempt to bring him to action.
[1019] What brought these men together is not certainly known; but a determination to keep the war away from their homes seems to have been the main cause of their action. Probably the threats which Ferguson made, in the vain hope of intimidating them, may have had a good deal to do with it.
[1020] The court of inquiry into Gates's conduct was never convened; at first, because it was impossible to get it together without injury to the service, since Steuben's presence was necessary. Later, when Greene became cognizant of the whole affair, he became convinced that Gates was the victim of circumstances, and advised against holding the court.
[1021] Afterwards, when his attention was called to this hazardous position, Morgan declared that had he passed the Broad River his militia would have left him. As to the unprotected condition of his flanks, he asserted that had there been a swamp in the neighborhood the militia would have taken refuge in it. He added that he should have viewed the surrounding of his army with unconcern, as then his men would have been obliged to fight it out. In fact, like his great chief, Morgan had a very poor opinion of the militia. He placed them in the front rank with orders to fire at least two shots, and then to retire behind the regulars, who were posted on a slight eminence in their rear. A skirmish line of militia sharpshooters protected the front, while the cavalry remained in reserve. The best proof of the excellence of these dispositions is to be found in the results of the encounter.
[1022] Tarleton had some "grasshoppers" at the Cowpens, but they did little execution. For grasshoppers, cf. Stone's Brant, ii. 106, and Centennial Celebration of Sullivan's Expedition, p. 109, note.
[1023] In numbers the two commands were about equal,—not far from one thousand on either side, excluding detachments. In discipline and equipment the British were far superior. Their defeat was mainly due to the rash impetuosity of their young commander, to his unwise dispositions, and especially to his unmilitary conduct in leading his men into action before the formation was complete. Above all, however, their defeat was due to the confidence of Morgan's men in their leader, to his admirable tactics, and to the splendid behavior of the Maryland line. The "unaccountable panick", as Tarleton calls it, which seized the British infantry, and the poor use the "Legion" commander made of his horse contributed in no small degree to the result which was probable whenever Tarleton should meet with a real soldier.
[1024] A court of inquiry, summoned at Gunby's request, found that his order "was extremely improper and unmilitary, and, in all probability, was the only cause why we did not obtain a complete victory." At the same time the court declared that Gunby's spirit and activity were unexceptionable. This court was presided over by Huger, or Hugee, as his name is not infrequently spelled in the old books.
[1025] This seizure of Fort Granby greatly displeased Sumter, who had marked it for himself. He tendered his commission to Greene, who returned it with such an effusion of compliments that Sumter could not refuse to keep it. But his conduct at a time when it was especially important for the patriots to act in concert was a good illustration of the way in which he systematically thwarted Greene. Before the Cowpens he had ordered his subordinate to obey no orders coming from Morgan. And now, instead of coming to the aid of Greene, when hard pressed, he contented himself with desultory operations of no utility in the campaign. They secured to himself, however, a separate command.
Even Marion, that most steadfast and gallant leader of Southern militia, was impatient at the way in which he was treated by the commander-in-chief. It seems that Greene thought Marion might easily spare a few horses in order that Washington's men could be mounted. It will be remembered that Greene had before this taken occasion to declaim against the practice of the Southern irregulars in always wishing to serve mounted, as it added greatly to the expense. Marion took the implied censure to himself, and wrote that as soon as the siege of Motte's was over he wished to give up his present command and go to Philadelphia. Greene induced him to give over his contemplated retirement, and Marion's reply to Greene's urgent letter furnishes the real reason for his wish to attain to some other command than that of "Marion's men", for whom he appears to have had any but the kindest feelings. Indeed, the popular idea of "Marion's men" seems to be far from correct, for his band was composed largely of renegades, drawn together by the hope of booty. They deserted their leader when anything serious was to be attempted, and this "infamous behavior", as Marion rightly terms it, was very distressing to him. However, for a time the storm blew over, and for the future Lee was regarded as under Greene's own immediate orders.
[1026] It was at this time that Grierson himself was shot by one of the militia after he had surrendered. Lee asserts that the murderer could not be discovered, though a large reward was offered for his apprehension; but Brown has declared that his name was well known, and that he was purposely shielded by the American commanders
[1027] That chieftain showed at this time a disregard for the orders and wishes of Greene which counterbalanced whatever good his former vigorous though unfortunate conduct may have produced. Instead of acting in harmony with Marion, and delaying Rawdon by every means within his reach, Sumter by contradictory letters neutralized Marion's force, and rendered his own quite harmless by shutting himself up in Fort Granby and allowing the British to march by unopposed. Greene seems never to have forgiven Sumter for his behavior at this time; and, indeed, it cannot be too warmly censured.
[1028] He then went to Charleston, and soon after the hanging of Hayne sailed for home.
[1029] Four cruisers had been sent out by the Americans to give them warning of the English fleet then in the neighborhood. Mass. Hist. Soc. Proc., xii. 229. Cf. letters of Gerry in Letters of Washington to Langdon (1880), p. 111.—Ed.
[1030] Ternay was buried in Newport. Cf. N. E. Hist. and Genial. Reg., 1873, p. 409, and Mass. Hist. Soc. Proc., xiii. 105; and Anthony's speech on a bill to repair the tomb (H. B. Anthony's Memorial Addresses, Providence, 1875).—Ed.
[1031] The Marquis of Rochambeau, in his Memoirs, took to himself the credit of appointing the Chesapeake as a rendezvous for the fleet. He also claims to have intimated to De Grasse that perhaps it would be best to attack the English in Virginia. At all events, the French admiral sent word that he should go into the Chesapeake, and he hoped, as his stay on the coast would be short, that the land forces would be ready to coöperate with him. This decided the matter. There is in print (dated Mount Vernon, July 13, 1788; Carey's Museum; also in Niles, Principles and Acts, 1st ed, p. 273) a letter from Washington to the effect that, although the point of attack was not decided on at the outset, the movement against New York was a feint.
[1032] The documents recently printed by the Royal Commission on Historical Manuscripts convey the impression that Rodney preferred not to act in conjunction with Sir Henry Clinton.
[1033] It was while reconnoitring on the morning of this day that Col. Alexander Scammel, of the New Hampshire line, was captured by a party of Legion dragoons, and mortally, though accidentally, wounded after he had surrendered.
[1034] History of the Revolution of South Carolina from a British Province to an Independent State, Trenton, 1785,—cited in this chapter as Rev. in S. C.
[1035] There is no formal biography of Moultrie. Brief sketches of his career may be found in Hartley's Heroes of the South, 231-268, and in A New Biographical Dictionary or Remembrancer of Departed Heroes, compiled by T. J. Rogers, Philadelphia, 1829, pp. 317-322. Cf. also ante, p. 171, 229.
[1036] Memoirs of the American Revolution, so far as it related to the States of North and South Carolina, and Georgia. By William Moultrie. New York, 1802. This work, though written long after the event, consists so largely of letters and other original material that it may be regarded almost as a contemporary work.
[1037] Memoirs of the War in the Southern Department, by Henry Lee, lieutenant-colonel commandant of the Partisan Legion during the American War, Philadelphia, 1812; reprinted in 1819. In 1827 appeared A New Edition, with corrections left by the author, and with Notes and Additions by H. Lee, the author of the Campaign of '81. Many years later, in 1869, A New Edition, with Revisions, and a Biography of the Author, by Robert E. Lee, was published in New York. This is the best memoir of "Legion Harry" that has yet appeared. Cf. also G. W. P. Custis's Recollections, p. 354, and Rogers, Biog. Dict., p.271. There are portraits of Henry Lee as a young man in Continental uniform in the Penna. Hist. Society. Cf. Irving's Washington, quarto ed., iii. 197; Lossing's Field-Book, ii. 591; R. E. Lee's ed. of the Memoirs. Cf. C. C. Jones, Last days, death, and burial of General Lee (Albany, 1870).—Ed.
[1038] And the same criticism applies with still greater force to the writers who have based their narratives on this work.
[1039] Cf. Charles C. Jones, Reminiscences of the Last Days, Death, and Burial of General Henry Lee, Albany, 1870.
[1040] For Washington's opinion of Lee, see Mag. of Amer. Hist., iii. 81.
[1041] H. E. Turner's Greenes of Warwick (Newport, 1877).
[1042] See especially Greene's Greene (all references in this chapter are to the three-volume edition, unless otherwise stated), iii., Appendix, pp. 541-547; Johnson's Greene, i. 218-221 and 326; Sparks, Correspondence of the Revolution, iii. 118-189; Reed's Reed, ii., passim and App.; Maryland Papers; Charleston News and Courier for May 10th, 1881; Rhode Island Colonial Records, vol. ix., and R. I. Hist. Soc. Coll., vol. vi. Many of these letters will be referred to in the notes. In two letters from Knox to Greene (Drake's Knox, 67 and 68) the lighter side of Greene's character appears.
[1043] Caldwell sought interviews with Greene's relatives, and says that his sources were "as ample and authentic as any now existing;" and he represents that his account of the fight at Ramsour's Mill is the only event of moment in which he differs materially from other writers.—Ed.
[1044] Sketches of the Life and Services of Nathanael Greene, Major-General of the Armies of the United States, in the War of the American Revolution. Compiled chiefly from original materials. By William Johnson of Charleston, South Carolina, 1822. Two volumes, folio. A good review of this work is in the United States Magazine and Literary Repository for January, 1823, pp. 3-23.
[1045] This of course provoked the reviewers, and especially Jared Sparks,—then editor of the North American Review,—though his criticisms are for the most part directed against portions of the work that do not concern us here.
[1046] The Campaign of 1781 in the Carolinas, with remarks, historical and critical, on Johnson's Life of Greene, to which it added an Appendix of original documents, by H. Lee, Philadelphia, 1824.
[1047] The Life of Nathanael Greene, ... by George Washington Greene, N. Y., 1871. The life intermediate between these two was written in Rome, far away from the proper materials. It therefore is of little value compared with the larger work. It forms volume xx. of Sparks's American Biography. In 1877 appeared A Biographical Discourse delivered at the unveiling of the statue ... to the memory of Major-general Nathanael Greene, by his Grandson, G. W. Greene. But the address, owing to the ill-health of the author, was not delivered. It contains a good short summary of the Southern campaign. Cf. an Eulogium on Major-general Greene, delivered before the Society of the Cincinnati by Alexander Hamilton, July 4, 1789, in Hamilton's Works, ii. 481; and Lodge's ed., vol. vii.; see also Headley's Washington and his Generals, ii. 7-77; Lives of the Heroes, 27-75; Wilson, Biography, 278-286; Rogers, Biog. Dict., 170-185; American Biography (1825), pp. 158-182, etc., etc.
On the grant to Greene for his services, see the paper on the sea-islands, in Harper's Mag., Nov., 1878. Cf. B. P. Poore, Desc. Catal. of gov't publ., p. 1293. Recently published personal detail is in Providence Plantations (Providence, 1886), p. 62; John Bernard's Retrospections, p. 103.—Ed.
The place of Greene's burial has aroused some controversy. Cf. C. C. Jones, Sepulture of Greene and Pulaski (1885). A description of the monument to his memory at Savannah is in Mag. of Amer. Hist., xvi. 297. Cf. Hist. Mag., iii. 369.
[1048] The Life of General Daniel Morgan, with portions of his correspondence, compiled by James Graham, N. Y., 1856. Besides this there is a sketch of Morgan's career in Lee, Memoirs, i. 386. Cf. also Lives of the Heroes, 76-89; Wilson, Biography, etc., 31-38; Rogers, Biog. Dict., 309-316; Headley, ii. 366-372. The Hero of Cowpens, A Centennial Sketch by Mrs. McConkey, N. Y., 1881, is of no value. Am. Hist. Record, i. 111, contains an account of The Grave of Daniel Morgan, with illustrations.
Portraits of Daniel Morgan were painted by C. W. Peale (engraved by David Edwin) and John Trumbull (engraved by J. F. E. Prud'homme). Cf. Dennie's Portfolio, viii.; Lossing's Field-Book, ii. 637 (also, Cyclo. U. S. Hist., p. 920, etc.). The picture (Mag. Amer. Hist., April, 1884), representing him sitting on a chest, and dressed in a hunting-shirt, is no further a likeness than his features are preserved. There is a statue of him by Ward. Morgan lived after the war in the Shenandoah Valley, and a view of his house, "Saratoga", is given in Appleton's Journal, 1873, July 16, p. 67; Mrs. Lamb's Homes of America; Mag. of Amer. Hist., x. 455.—Ed.
[1049] The Life of General Francis Marion, by Brig.-gen. P. Horry, of Marion's Brigade, and Mason L. Weems, Baltimore, 1815. This volume went through many editions. (Cf. Sabin.) The Sketch of the Life of Brig.-gen. Francis Marion, and a History of his Brigade, by William Dobein James (Charleston, 1821), is now very rare. John James based on it a Life of Marion (N. Y., 1856). For an appreciative sketch of the noted partisan, see Lee, Memoirs, i. 394. Cf. also The Life of Francis Marion, by W. G. Simms, N. Y. (1846 and 1860); Headley, ii. 225; Lossing, in Harper's Monthly, xvii. 145; P. D. Hay, The Swamp Fox, in Ibid., lxvii. 545,—especially valuable as containing some original entries from the general's order-book; Hartley, Heroes, 1-212; Wilson, Biography, 82; Rogers, Biograph. Dict., 284; Charleston Year Book (1885, p. 338), where Marion's epitaph is given, etc. For portraits of Marion, see Irving's Washington, quarto ed., iv. 196; Lossing's Field-Book, ii. 684.—Ed.
[1050] Documentary History of the American Revolution, consisting of letters and papers relating to the contest for liberty, chiefly in South Carolina, by William Robert Gibbes. There are three volumes with titles not unlike the above. The first relates to events not touched on in this chapter, the second (N. Y., 1855-57) covers the period 1776-1782, while the third volume (Columbia, 1853) relates more especially to the years 1781-1782. Many of the documents are of interest to local readers only, and as a whole the volumes are of less value than their titles would indicate.
[1051] Hartley, Heroes, 269-290; Dawson, Battles, i. 487; and Lee, Memoirs (2d ed.), App. p. 442. Some autographic letters of Pickens are in the Sparks MSS., lix. 24.
[1052] In Sparks, American Biography, xxiii. pp. 205-434. Cf. also Notices of the Life of Major-General Benjamin Lincoln, by "P. C." in Mass. Hist. Soc. Coll., 2d series, iii. 233-255,—pp. 238-244 deal with his Southern campaigns; Thacher, Military Journal, 504-517; J. T. Kirkland, Notices of the Life of Benjamin Lincoln; Headley, Washington and his Generals (N. Y., 1847), ii. 104; Rogers, Biog. Dict., 276, etc., etc.
[1053] There are among the Lincoln Papers (copied in the Sparks MSS., xii.) a considerable mass of documents relating to Lincoln's service in Carolina in 1779-1780; his correspondence with Marion, Pinckney, Rutledge, Pulaski, Moultrie, Horry, John Laurens, Commodore Whipple, etc., and the public authorities of Congress and the Assembly of Georgia. His Journal, Sept. 3—Oct. 19, 1779, covers his plans of normally coöperation with D'Estaing. There are records of the councils of war in Charleston, April 20, 21, 26, May 11,—the latter advising him to capitulate. Letters of Adj.-Gen. Ternant recount the strength and losses of the garrison during the siege. Various letters between Clinton and Lincoln concern the provisions and interpretation of the terms of surrender. A proclamation of Clinton and Arbuthnot to the South Carolinians is dated June 1, 1780.—Ed.
[1054] There is a Life of Anthony Wayne by John Armstrong in Sparks, Amer. Biog., iv. pp. 1-84. See especially pp. 56-71 for his Southern campaigns.
[1055] General Joseph Graham contributed many of these articles in vols. i., iii., iv., and v. He took part in many of the operations. Cf. N. C. Univ. Mag., iii. 433; Wheeler's North Carolina, ii. 233, and Foote's Sketches of Western North Carolina, 251. There are sketches of Caswell's life in the above-mentioned magazine, vols. vii. pp. 1-22, and iv. 68. For a loyalist's view of the war in general, see Col. Robert Gray in Ibid., viii. 145. Hugh Williamson collected material for N. C. revolutionary history. Cf. Pennsylvania Magazine of Hist., vii. 493. Cf. Harper's Mag., xv,. 159.
[1056] Interesting Revolutionary Incidents and Sketches of Character, chiefly in the "Old North State", by the Rev. E. W. Caruthers, D. D., second series, Philadelphia, 1856. The title of the first series, which relates to the Camden campaign, wants the word "Interesting." Cf. the same author's Sketch of the Life and Character of the Rev. David Caldwell, ... with Account of the Revolutionary Transactions and Incidents in which he was concerned, etc. (Greensborough, N. C., 1842), and W. A. Graham's British Invasion of N. C., in W. D. Cooke's Rev. Hist. of N. C. (1853).
[1057] Traditions and Reminiscences chiefly of the American Revolution in the South, by Joseph Johnson, M. D., of Charleston, S. C., Charleston, 1851.
[1058] The best biography of Steuben is the life by Friedrich Kapp, 2d ed., N. Y., 1859. But Kapp is often ridiculously partial to his hero. In the Magazine of American History, viii. pp. 187-199, is a valuable and graphic account of Steuben, written in 1814 by his former aide, William North. See also Thacher, Military Journal 517-531; Professor Ebeling in Amerikanisches Magazin, 1797, iii. 148; G. W. Greene, German Element in the War of American Independence, N. Y., 1876, pp. 11-87; Francis Bowen, Life of Baron Steuben, in Sparks, Am. Biog., ix. pp. 1-88; Headley, Generals, i. 293; Rogers, Biog. Dict., 370; and his character, by Richard Peters in Mag. of Western Hist., 1886, p. 680.
[1059] Light-Horse Harry Lee in his Memoirs was especially severe on Jefferson's actions at this time, and later during Cornwallis's campaign. To this Jefferson replied in a letter to the younger Henry Lee, dated May 15, 1826, in Lee's Memoirs (2d edition), p. 204. In his Notes on Virginia, Jefferson attempted a defence of his conduct, and in his Writings (ix. 212 and 220) there appeared an attack on the elder Lee. This brought forth a pamphlet entitled Observations on the Writings of Thomas Jefferson, with particular reference to the attack they contain on the memory of the late Gen. Henry Lee, by Henry Lee, New York, 1832. This was suppressed (cf. Sabin, x. 172), but in 1839 a second edition, "with an introduction and notes by Charles C. Lee", was published. See especially pp. 119 to 141 of the 1st ed., and pp. 129 to 147 of the 2d. See also Randall's Jefferson, i. 291-343; Giradin, Continuation of Burk, iv. 452-470; and, on the other side, Howison, ii. 251-265.
[1060] Parton in his interesting life of the Virginia statesman, pp. 224-256, gives a lifelike picture of Jefferson's share in the war. He dwells on the more picturesque incidents, like Tarleton's raid, which, though giving a pleasant color to the story, had little influence on the course of events.
[1061] The History of Virginia, commenced by John Burk, and continued by Skelton Jones and Louis Hue Giradin, Petersburg, 1816. What part Jones took in the work is not clear. Volume iv. relates to the Revolution. The editors of Jefferson's Works (i. 41) say of Giradin: "Mr. Jefferson supplied him with a large amount of manuscript matter which greatly enriched his volume. His admiration for Mr. Jefferson sometimes approaches the ludicrous." Cf. also Howison, ii. 278. The volume closes abruptly after the capitulation of Yorktown. Further publication seems to have been suspended on account of what M. Giradin terms in his preface "typographical difficulties."
[1062] Calendar of Virginia State Papers and other Manuscripts preserved in the Capitol at Richmond, 1652-1781. Volume i., arranged and edited by Wm. P. Palmer. Volume ii. prepared for publication by Sherwin McRae (Richmond, 1875 and 1881). Volume ii. deals almost entirely with the period covered by this chapter.
[1063] Letters of Thomas Nelson, Jr., Governor of Virginia, Richmond 1874; (No. I. of the New Series of the Publications of the Va. Hist. Soc.)
[1064] Mémoires Militaires, Historiques, et Politiques de Rochambeau, Paris, 1809, vol. i. pp. 237-330, relating to his share in this war. This portion was translated by M. W. E. Wright, Esq., and printed as Memoirs of the Marshall Count de Rochambeau relative to the War of Independence of the United States, Paris, 1838. It is generally thought that the portion of Soulés' Troublés dealing with Yorktown was the work of Rochambeau, or written by his inspiration.
[1065] See also appendices to the Third and Fifth Reports for other papers of interest in the present examination. Some notes in the Westmoreland Papers (Tenth Report, App., iv. 29) supplement the Sackville Papers.
[1066] Volume xxv. pp. 88 et seq., Hansard, xxii. 985 et seq., contains the debates in the "Lords", but no documents. Abstracts of the important papers are in the Political Magazine.
[1067] For some account of the career of Cornwallis, see Correspondence of Charles, First Marquis Cornwallis. Edited with Notes by Charles Ross, Esq., London, 1859 (ably reviewed by C. C. Smith in North American Review, lxxxix. 114). Most unfortunately, many of the letters are printed in extract without any indication being made of the fact. Several of the most important documents in the book are printed in the appendix. Cf. also Lives of the Most Eminent British Commanders, by the Rev. G. R. Gleig, iii. 115, being vol. xxxvi. of Lardner's Cabinet Cyclopædia; G. W. Kaye's Lives of Indian Officers, i. 1; the contemporary Political Magazine, ii. 450; Jesse's Etonians; E. E. Hale in Christian Examiner, lxvii. p. 31; and Poole's Index, p. 303.
[1068] Cf. Cornwallis to Clinton, dated New York, Dec. 2, 1781, in Parliamentary Register, xxv. 202; Political Magazine, iii. 350; Germain Correspondance, 269; and Cornwallis's Answer, App., p. 228. This was followed by The Narrative of Lieutenant-general Sir Henry Clinton, K. B., relative to his conduct ... particularly to that which respects the unfortunate issue of the campaign in 1781, with an appendix containing copies and extracts of his correspondence with Ld G. Germain, Earl Cornwallis, etc. (London, 1783, several editions. Reprinted in Philadelphia (1865) as Narrative of the Campaign of 1781 in America (250 copies).) Next came A Reply to Sir Henry Clinton's Narrative ... by Themistocles (Cornwallis?) (London, 1783, two editions), and An Answer to that part of the Narrative of Lieutenant-General Sir Henry Clinton, K. B., which relates to the conduct of Lieutenant-general Cornwallis during the campaign in North America in the year 1781, By Earl Cornwallis (London, 1783, and Philad., 1866). In reply to this appeared Observations on some parts of the answer of Earl Cornwallis to Sir Henry Clinton's Narrative by Lieutenant-general Sir Henry Clinton, K. B. (London, 1783). In Notes and Queries, Oct. 28, 1882, mention is made of a copy of the Correspondence between Clinton and Cornwallis, July-Dec., 1781, with marginal MS. notes by Clinton. Cf. On this controversy Jones's New York during the Rev., ii. 464, 466.—Ed.
[1069] Cf. Ninth Report of the Royal Commissioners, as above, App., iii. p. 100. Soon after his arrival at New York, Clinton demanded that either the admiral or himself should be relieved (see Eden to Germain, enclosing letters from Clinton, in Ibid., p. 106). Arbuthnot asking to be relieved on account of his advanced age, the command of the fleet was given to Graves. Soon, however, Clinton found himself involved in a similar dispute with a more influential man. The Seventh Report of the Commissioners appointed to examine, take, and state the Public Accounts of the Kingdom appeared in 1782 (also printed in Parliamentary Register, xxiv. pp. 517-622). In his evidence before this board (cf. above, p. 537) Cornwallis repeated Arbuthnot's charge, and plainly implied that the final cessation of the plundering was due to his own efforts. To this Clinton replied in a Letter from Lieut.-gen. Sir Henry Clinton, K. B. to the Commissioners on Public Accounts, relative to some observations in their Seventh Report (London, 1784). The order of Cornwallis, on which so much emphasis was laid, is in Parliamentary Register, xxiv. 617. Stedman, as commissary under Cornwallis, had excellent facilities for observation. He repeated the old accusations in a note to his History. Clinton deemed the attack worth noticing. Cf. his Observations on Mr. Stedman's History of the American War (London, 1794; reprinted, New York, 1864). It is but fair to say that Cornwallis seems to have done everything in his power to prevent plundering during his march through North Carolina. Cf. his "Order-Book" in Caruthers' Incidents, 2d series, App. Cf. further, Clinton's Memorandum respecting the Unprecedented Treatment which the Army have met with respecting Plunder taken after a Siege and of which Plunder the Navy had more than ample share (privately printed, 1794).—Ed.
[1070] A History of the Campaigns of 1780 and 1781 in the Provinces of North America, by Lieutenant-colonel Sir Banastre Tarleton, Commandant of the late British Legion (London, 1787). There is in the Boston Public Library a copy of this book which has bound with it a MS. diary of Lieutenant Eld, of the Coldstream Guards, from his arrival at New York, in the summer of 1779, to March, 1780, at the South (Mass. Hist. Soc. Proc., xviii. 70). There is a statement of Tarleton's losses in the Sparks MSS., lvi.—Ed.
Tarleton rose to the rank of lieutenant-general. He was a member of the House of Commons, 1790-1806, and again 1807-1812. Ross, the editor of Cornwallis's Correspondence, says (note to p. 44) that "in the House of Commons he [Tarleton] was notorious for his criticisms on military affairs, the value of which may be estimated from the fact that he almost uniformly condemned the Duke of Wellington." Cf. also a sketch of his career in Political Magazine, ii. 61.
There is a well-known portrait of Tarleton by Reynolds (1782), representing him in uniform, with hat, and his foot on a cannon. It was engraved in mezzotint by J. R. Smith. Cf. E. Hamilton's Catal. raisonné of the engraved works of Reynolds (London, 1884), p. 67, and John C. Smith's Brit. Mez. Portraits, iii. 1305. It is engraved on wood in Harper's Mag., lxiii. 331. Cf. also London Mag., 1782; Johnston's Yorktown Campaign, p. 41; Lossing's Field-Book, ii. 607.—Ed.
[1071] Strictures on Lt.-Col. Tarleton's History, &c., by Roderick Mackenzie, late Colonel of the 7th Regiment (London, 1787). This in turn called forth An Address to the Army; in reply to the Strictures ... by Roderick M'Kenzie, by George Hanger, Tarleton's second in command. Hanger, afterwards Lord Colerain, also wrote or inspired a work entitled The Life, Adventures, and Opinions of Col. G. Hanger, Written by himself (London, 1801). As to the authorship of this, see Gentleman's Magazine, vol. xxxvii.
[1072] A Journal of the Operations of the Queen's Rangers, From the end of the year 1777 to the conclusion of the late American War, by Lieut.-colonel Simcoe, commander of that corps (Exeter, "printed for the author", 1787). Reprinted, with some slight alterations and additions, as A History of the Operations of a Partisan Corps called The Queen's Rangers, commanded by Lieut.-col. J. G. Simcoe, during the War of the Revolution. Now first published. With a memoir of the author and other additions (New York, 1844). The memoir is by an unknown hand.
[1073] Memoir of General [Samuel] Graham, edited by his son Colonel J. J. Graham, "privately printed" (Edinburgh, 1862). The portions of this book dealing with America were reprinted in a condensed form in The Historical Magazine for August and November, 1865.
[1074] An Original and Authentic Journal of Occurrences during the late American War, By R. Lamb—late Serjeant in the Royal Welsh Fuzileers (Dublin, 1809).
[1075] The Origin and History of the First or Grenadier Guards, By Lieut.-Gen. Sir F. W. Hamilton (London, 1874).
[1076] Major Weemys, who commanded in the night assault on Sumter at Fishdam Ford, was unfortunate in his later career, and died in poverty in the city of New York. His manuscripts came into the possession of the Massachusetts Historical Society. Among them is one entitled Sketches of Characters of the General Staff Officers ... in the British Army. It is the work of a disappointed man, but probably reflects the opinions of many officers in the British army.
[1077] The number of men nominally under Howe's orders cannot be stated. He probably had not over 700 in action. Cf. Huger in Moultrie's Memoirs, i. 251. Campbell had with him 3,500 men. Of these 2,500 were in the fight. The total American loss in this preliminary campaign was not far from 900 killed, wounded, and missing; while the British do not seem to have lost more than 40 men. Probably many of the Americans missing sought safety on their plantations. See further returns annexed to the official reports as above; Gordon, iii. 218; and Proceedings of the Robert Howe Court-Martial, passim.
[1078] C. C. Jones has a description of Sunbury in his Dead Towns of Georgia (Ga. Hist. Soc. Coll., iv.).
[1079] Portrait in London Mag., 1781.—Ed.
[1080] Cf. also Moultrie, Memoirs, i. 252.
[1081] For some account of Howe, see Charleston Year-Book for 1882, p. 359, and Dawson's Battles, i. 479. There is a "Sketch of Gen. Robert Howe", by Archibald M. Hooper, in North Carolina University Magazine, ii. 209-221, 305-318, 358-363, and iii. 97-109, and 145-160. The first number of this magazine was printed in March, 1844, and it was continued to 1860. L. C. Draper writes to me that of vol. vi. he has "only one number, issued in March, 1857." He adds: "I have been told that none others appeared of that volume." This statement is confirmed by K. P. Battle, the present head of the university. Mr. Draper tells me also that "there are some valuable Revolutionary papers in the Magnolia, a magazine published in Georgia, and then in Charleston in ante-war times; some in the Orion, a Georgia magazine; some, I think, in Russell's Magazine, published at Charleston."
[1082] For other accounts, see Dawson, Battles, i. 472; Marshall, Washington, iv. 62; F. D. Lee and J. L. Agnew, Historical Record of the City of Savannah, Savannah, 1869, p. 45; T. S. Arthur and W. H. Carpenter, Georgia, Phila., 1853, p. 134; Stevens, Georgia, ii. 160; Eelking, Die deutschen Hülfstruppen, ii. 23; Lowell, Hessians, 239; Lossing, Field-Book, ii. 524; Beatson, Military Memoirs, iv. 371; James Grant, British Battles on Sea and Land, ii. 156-160; Allen, American Revolution, ii. 214; An Impartial History (Bost. ed.,) ii. 361; Botta (Otis's trans.), iii. 15; and Andrews' History, iii. 63.
This attack on Savannah is illustrated in the Faden map (1780) called Sketch of the Northern Frontiers of Georgia, from the mouth of the River Savannah to the Town of Augusta, by Lieut.-Col. Archd. Campbell.—Ed.
[1083] Cf. Moultrie's Memoirs, i. 241, and Remembrancer, viii. 177. An abridgment is in Dawson, Battles, i. 482. There is an interesting account of the affair in Johnson's Traditions, p. 211. See also Ramsay, Rev. in S. C., ii. 12, and Gordon, iii. 230. The numbers given in the text are derived from Moultrie's "Orders" of February 7th (Memoirs, i. 296), and from a letter written by General Bull to Moultrie (Memoirs, i. 312). Des Barres published a large map of this region under the title of Port Royal in South Carolina, taken from surveys deposited at the Plantation Office, 1777. Cf. Neptune Americo-Septentrional (1778), no. 23, and N. Amer. Pilot (1776), nos. 30, 31.
[1084] Georgia, ii. 192. See also Ramsay, Rev. in S. C., ii. 14; Gordon, ii. 230; Stedman, ii. 106; White, Hist. Coll., p. 683; and Stevens, Georgia, ii. 188. In the Mass. Hist. Soc. Coll., 1st ser., vol. ii. pp. 41-240, there is a valuable "Historical Journal of the American War." Pp. 178-234 relate to the events described in this chapter.
[1085] This is given entire by Moultrie, who presided over the court (Memoirs, i. 337-354. The finding of the court is on p. 353). The assertion of Lossing that Ashe was acquitted "of every charge of cowardice and deficiency of military skill" is not correct, as the court expressly stated that it was of the opinion that "Ashe did not take all necessary precautions." There is a "Sketch" of Ashe's career in North Carolina University Magazine, iii. pp. 201-208 and 366-376.
[1086] Accounts of varying degrees of excellence are in McCall, Georgia, ii. 206; Moultrie, Memoirs, i. 310-330; Gordon, iii. 232; Ramsay, Rev. in S. C., ii. 16; Stedman, ii. 107. See also Lossing, Field-Book, ii. 507; Marshall's Washington, iv. 23; C. C. Jones, Georgia, ii. 346, etc.; Stevens, Georgia, ii. 180; Moore's Diary, ii. 138; Penna. Mag. of Hist., 1880, p. 249.
[1087] Cf. Prevost to Lord G. Germain in The London Gazette, April 17-20, 1779; reprinted in Remembrancer, viii. 168; and in Gentleman's Magazine (1779), p. 213.
[1088] Prevost had about three thousand men, but of these only two thirds were fit for duty when he retired from Charleston. Moultrie (Memoirs, i. 430) gives his own force at three thousand one hundred and eighty, including eight hundred Continentals. According to Prevost, Maitland had at Stono not far from eight hundred men, though Lowell (Hessians, 241) gives him only five hundred. The attacking party numbered twelve hundred. The American loss was one hundred and sixty-two; that of the British one hundred and thirty-one.
[1089] See also Ramsay, Rev. in S. C., ii. 23; Gordon, iii. 254; Stedman, ii. 109, 120 (115-120 deal with Stono); Johnson's Greene, i. 271; Johnson's Traditions, 217; Flanders's Rutledge, in his Lives of the Chief Justices, ii. 358-365. Something has also been gleaned from Eelking, ii. 24; Lowell, Hessians, 240 (giving June 19 instead of 20 as the date of the attack on Stono); Marshall's Washington, iv. 28; and P. J. S. Dufey, Résumé de l'histoire des Revolutions de l'Amérique Septentrionale, depuis les premières découvertes jusqu'au voyage du Général Lafayette, Paris, 1826, i. 293-312. The British are supposed to have carried away a large amount of plate and more than a thousand slaves. The terror they inspired in the souls of the fair Carolinians is well set forth in the Letters of Eliza Wilkinson during the invasion and Possession of Charleston, S. C., by the British in the Revolutionary War. Arranged by Caroline Gilman, N. Y., 1839.
[1090] Life of Lincoln in Sparks's Am. Biog., xxiii. 285.
[1091] Judge Johnson, in his Greene, went out of his way to assert that Pulaski slept at his post just before the battle at Germantown. In a defence of his former commander, Paul Bentalou put forth the claim that the retreat of Prevost was due to Pulaski. Unless the documents (cited above) are untrustworthy this claim cannot be maintained. On the contrary, a gallant charge that the brave Pole made had no other effect than to dispirit the garrison. Cf. Pulaski Vindicated by Paul Bentalou, a captain in his "legion", Baltimore, 1824, p. 27; Jared Sparks in the North American Review, xx. 385; Remarks, etc., on the above article, by Judge Johnson, Charleston, 1825; Bentalou's Reply to Judge Johnson's Remarks; and another article by Sparks in the North American Review, xxiii. 414.
[1092] There are two editions of this book in the Harvard College library bearing the same date. One contains 158 pages, the other 126, but in other respects they seem to be the same. The portion dealing with Savannah, which Mr. Jones has translated (Siege, pp. 57-76), runs from page 128 to 158 in one edition, and from page 101 to 126 in the other. In Sabin this journal is attributed to D'Estaing. (Cf. Sabin, under Estaing.) There seems to be no authority for this, and it would certainly be astonishing for an officer to speak of his own conduct as the writer of this journal constantly speaks of D'Estaing's motives and actions.
[1093] In F. B. Hough's Siege of Savannah by the combined American and French forces, in the Autumn of 1779, Albany, 1866, p. 171, it is reprinted from the New Jersey Journal, June 21, 1780, as a Summary of the Operations of the King's squadron commanded by the Count D'Estaing, Vice Admiral of France, after the taking of Grenada, and the Naval Engagement off that Island with Byron's Squadron.
[1094] Reprinted in Remembrancer, ix. 71; Gentleman's Magazine, 1779, p. 633; and, in an abridged form, in Political Magazine, i. 50, also 106; and Historical Magazine, viii. 290.
[1095] It usually precedes Prevost's report, and may also be found in Hough, Savannah, 134, and in White, Hist. Coll., 343. T. W. Moore, one of Prevost's aides, wrote a long letter to his wife, which was printed in Rivington's Royal Gazette, Dec. 29, 1779; reprinted by Hough in his Savannah, p. 82. Governor Tonyn, of Florida, inclosed some interesting letters to Clinton bearing on the siege (Remembrancer, ix. 63, and elsewhere).
[1096] The first (pp. 25-52, with some "additions" running from p. 52 to p. 56) is by an unknown hand. It was copied from Rivington's Royal Gazette, Dec., 1779. The second journal, which he for convenience calls "Another Journal" (cf. his Savannah, pp. 57-79), was also copied from Rivington. It appears, however, to be identical with the "Journal" (Sept. 3d-Oct. 20th) which E. L. Hayward sent to John Laurens in December, 1779,—reprinted in Moore's Materials for History, N. Y., 1861, pp. 161-173, and in Historical Magazine, viii. 12-16. It is interesting, but hardly worth so many repetitions.
[1097] To this should be added an extract from a letter of Anthony Stokes, the colonial chief justice of Georgia to his wife, which Moore found in Orcutt's Collection of Newspaper Scraps in the library of the N. Y. Hist. Soc., and printed in his Diary, ii. 223.
[1098] Cf. Garden, Anecdotes of the American Revolution (Brooklyn ed.), iii. 19, and Hough, Savannah, 157. It was not written till long after the event, and has no value for fixing dates, as Pinckney confesses to having relied on Moultrie for the dates he gives.
[1099] The French, in Mag. of Amer. Hist. (1878), P. 548, where it is stated that they were "translated from an original MS. in the possession of Mr. Frank Moore." Lincoln's orders, as then given, are stated to be on the same sheet and in the same handwriting as those of the French, though in English. A somewhat different and more accurate copy of Lincoln's orders is printed in Moultrie's Memoirs, ii. 37. Cf. Lincoln's MS. order-book.
There has been much dispute as to the size of the opposing armies. In the report which I have somewhat incautiously attributed to D'Estaing, the French army actually on shore is given at 2,823 Europeans, 165 volunteers from Cape François, and 545 "volunteer chasseurs, mulattoes, and negroes newly raised at St. Domingo." The American force is rated at 2,000, or 5,524 men in all. Cf. Hough, Savannah, 173, and Jones, Savannah, p. 40, note. Moultrie (Memoirs, ii.) increases the number of the Americans to 4,000, while lowering that of the French to 2,500. Stedman (Am. War, ii. 127) is even wilder when he says that the combined armies numbered more than ten thousand men, of whom about five thousand were French. In this he is followed by Mackenzie (Strictures, p. 12), and as both were officers in the force which came South with Clinton, it is probable that that was the impression prevalent in the British army. Chief-Justice Stokes (View of the British Constitution, etc., Lond., 1783, p. 116) estimates the Americans at 2,500 and the French at 4,500, while Jones (Savannah, p. 39) rates the French at 4,456, and the Americans at 2,127. This is probably as accurate an estimate as can now be made.
The writer of the so-called D'Estaing report says that the force in Savannah was composed of 3,055 English European troops, 80 Cherokee savages, and 4,000 negroes, or 7,155 men in all. Stedman gives the garrison at 2,500 "of all sorts", while T. W. Moore says that there were but 2,000 in the town. The legend on Faden's Plan gives the number at 2,360, while the writer of the first journal in Hough (p. 43) says that there were but 2,350 "effectives" in the place.
The Allies lost in the sortie of the 23d, 24th, or 25th of September—for the journals differ as to the date—from 70 to 150 in killed, wounded, and missing. Cf. Jones, Savannah, 22, 53. The writer of the Extrait, ec. of 158 pages, p. 141, says that this great loss was due to the fact that M. O'Dune, who had the immediate command at the time, was intoxicated, and pursued the assaulting column too far. The assault of Oct. 9th cost D'Estaing, according to the Extrait (as above, p. 148), 680 men, while the author of the other journal translated by Jones gives it as high as 821. The American loss was not far from 312, though Moultrie rates it at 457, or a total loss of about 1,133 in killed, wounded, and missing. The French suffered severely from sickness,—malaria on shore and scurvy in the fleet. So that Captain Henry, when he wrote (Remembrancer, ix.) that "we have every reason to believe that this expedition cost the enemy two thousand men", was probably not far from correct. In the document which I have called the D'Estaing report the French losses are given as follows (Hough, Savannah, p. 174): "Killed, 183; wounded, 454." But the figures have not been verified by a comparison with the original Gazette.
The English loss in the sortie was very slight,—not more than twenty-one. Repelling the assault on the 9th cost Prevost 16 killed and 39 wounded. But to these numbers should he added those picked off from time to time, which swelled the total to 103 in killed and wounded (Prevost's report in Remembrancer, iv. 81). He lost, in addition, 52 in missing and deserters, or 155 in all. But this was more than counterbalanced by desertions from the French ranks. It should be stated, however, that T. W. Moore, Prevost's aide, gave the loss of the garrison in killed and wounded alone at 163.
[1100] C. C. Jones, Georgia, ii. 375-416; Lee and Agnew, Historical Record, 50-64; Arthur and Carpenter, Georgia, 174-193. Cf. also Allen, History, ii. 264; An Impartial History, p. 605; Andrews, iii. 309-318; and Beatson, Memoirs, iv. 516-534. The most inaccurate account known to the present writer is in E. Ryerson, The Loyalists of America and their Times, Toronto, 1880, vol. ii. p. 22.
[1101] Dufey, Résumé, i. 312-321; François Soulés, Histoire des Troublés de l'Amérique Anglaise, Paris, 1787, iii. 211-219. See also Botta (Otis's trans.), iii. 66-75; and Giuseppe Colucci, I casi della Guerra per l'Independenza narrati dall' ambasciatore della Republica di Canova presso la corte D'Inghilterra nella sua corrispondenza officiale inedita, Genoa, 1879, ii. 536.
[1102] Eelking, Hülfstruppen, ii. 57, and Lowell, Hessians, 242. Major-General John Watts De Peyster has an article on the siege in the New York Mail for Sept. 24, 1879. Something may also be found in Lossing, Field-Book; Stone, Our French Allies, etc. A description of Ebenezer, a town which constantly figures in this campaign, is in C. C. Jones, Dead Towns of Georgia, p. 183; also in Ga. Hist. Soc. Coll., vol. iv.; while the experience of the Salzburg settlers of that region is well set forth in P. A. Strobel's The Salzburghers and their Descendants, Balt., 1855, pp. 201-211.
[1103] Cf. A Journal, in Hough, p. 46; Another Journal, in Ibid. 79; and the other original sources as above.
[1104] As to the sufferings of the sailors and the lack of energy displayed by the officers of the fleet, see Extrait du Journal (158 page edition), p. 138 et seq. This part is translated in Jones, Savannah, p. 61.
[1105] The verses of the royalist wits are in Moore's Songs and Ballads, 269, 274.
[1106] The former had come into notice during the gallant defence of Fort Moultrie. Later he rendered important service, and was wounded in the lungs while carrying off the colors from the deadly Spring Hill redoubt at Savannah. There is no doubt of the truth of this intrepid bravery of Sergeant Jasper. Cf. McCall, Georgia; Horry, Life of Marion, p. 66; Stevens, Georgia, ii. 217. Cf. especially C. C. Jones, Serjeant William Jasper, An Address delivered before the Ga. Hist. Soc. in 1876.
The "impetuous Polander" was mortally wounded while making some kind of a charge in the rear of the enemy's line on the right. As to Pulaski, see, beside the general accounts and C. C. Jones's Address in Georgia Hist. Coll., iii., the Life of Count Pulaski by Sparks, in his American Biography, xiv. 365-446; pp. 431-443 relate to the Southern campaign. Cf. also an article in American Historical Record, i. 397-399; and note in Hough, Savannah, p. 175, abridged from Stevens, Georgia, ii. According to Paul Bentalou, who claimed to have been with him when he died, his body became so offensive immediately after his death that it was thrown overboard from the vessel which was bearing the wounded to Charleston. Nevertheless, at the laying of the corner-stone of a monument to his memory in Savannah, a metallic box supposed to contain his remains was placed within the plinth alongside the corner-stone. With regard to his place of burial, see Bentalou, Pulaski Vindicated from a charge in Johnson's Greene (Balt., 1824), p. 29; C. C. Jones, Sepulture of Major-General Nathanael Greene and of Brigadier-General Count Casimir Pulaski, Augusta, Ga., 1885; and a letter from James Lynch, of South Carolina, to the editor of the New York Herald, Jan. 7, 1854,—reprinted in the Hist. Mag., x. 285; Johnson, Traditions, note to p. 245, where another Pole, who claimed to have been aide-de-camp to Pulaski, and to have supported him in the death struggles, says that he was buried under a large tree, about fifty miles from Savannah.
The Maryland Historical Society has the banner presented to Pulaski by the Moravian Sisters of Bethlehem in 1778. It was saved when Pulaski fell at Savannah in 1779, and came into the possession of the society in 1844 (Penna. Archives, 2d ser., xi.). There is a portrait of Pulaski, engraved by H. B. Hall in Jones's Georgia, ii. 402. (Cf. Lossing, ii. 735.) The history of efforts to establish Pulaski's service and recompense by the United States Government is traced in Senate Exec. Doc. 120, 49th Cong., second session (1887).—Ed.
[1107] Printed in various places,—as, for example, in Hough, Charleston, p. 173; Remembrancer, x. 140. Other letters from Lincoln to Washington are in Corresp. Rev., ii. 344, 385, 401, 403, 418, and 433, etc. Some of them, especially one of April 9th, are of considerable value. Among Lincoln's MSS. is a long letter from Lincoln to Washington, dated Hingham, July 17, 1780, defending his conduct. It is of value, but, if sent, has never, to my knowledge, been printed. The reasons for abandoning the defence of the bar are given in a letter from Captain Whipple and other commanders and pilots to Lincoln, dated Charleston, Feb. 27, 1780, in Ramsay, Rev. S. C., ii. 397. See Lincoln MS. defence as above. There are also several papers relating to this portion of the siege in the third volume of the Commodore Tucker Papers in the Harvard College library. But see Moultrie (Memoirs, ii. 50) for his strictures on the giving up the position near Fort Moultrie. It is probable that, had the British fleet been kept out of the Cooper River, the surrender would have been long deferred, perhaps even until the hot season and the arrival of the French at Newport had compelled its abandonment.
[1108] There are several other descriptions from American sources. The most valuable, so far as it goes, is the report of Du Portail to Washington (Corresp. Rev., ii. 451). It relates, however, to a limited period. The same must be said of a few letters from the younger Laurens and from Woodford, the commander of seven hundred Virginians who arrived on the 21st of April. Laurens's first letter, bearing date of Feb. 25th, is in Moore's Materials for History, p. 173. The second, written on March 14th, is in Corresp. Rev., ii. 413. The third, which bears date of April 9th, is in Ibid. 435. Woodford's letter of April 8th is in Ibid. 430. Cf. also Ibid. 401, 420, and Moore's Materials, 175.
The contemporary journals of value are: Diary of Events in Charleston, S. C., from March 20 to April 20, 1780, by Samuel Baldwin, in New Jersey Hist. Soc. Proc., 1st series, vol. ii. pp. 78-86,—Baldwin was a schoolteacher in Charleston; cf. Ibid. p. 77; Journal of the Siege of Charleston in 1780, by De Brahm (Feb. 9, 1780-May 12, 1781), in Gibbes, Doc. Hist. (1776-82), p. 124; and Memoirs of Andrew Sherburne, written by Himself (a "boy" on the American ship "Ranger"), first printed at Utica in 1828, and reprinted in an "enlarged and improved" form at Providence, in 1831. His curious journal begins on p. 24 of the 1st ed., and on p. 27 of the 2d. Maj. Wm. Croghan's journal at Charleston, S. C., Feb. 9-May 4, 1780, etc., is copied in the Sparks MSS., vol. lx. There are two journals in The Siege of Charleston by the British Fleet and Army, which terminated in the surrender of that place May 12, 1780, with notes, etc., by Franklin B. Hough (Albany, 1867). The first is contained in two letters by an unknown hand, and relates to the operations on Lincoln's line of communications. The author was not present at the siege itself. The other journal relates to the operations against the town, but it has little value. Indeed, this volume of Hough's is not so interesting as the similar work on Savannah. Another journal, which relates more especially to the movements in the country, is the Diary of Anthony Allaire, a lieutenant in Ferguson's corps, printed by Draper in his King's Mountain and its Heroes, p. 484. Allaire corroborates in a most striking manner the accuracy of the charges of cruelty and outrage made by the author of the "Notes" in Stedman's American War. The account of the defence in Johnson's Traditions was written by an eye-witness, though long after the event. It is often very inaccurate, but nevertheless interesting. The assertion therein made that Gadsden signed the capitulation, and that therefore all of South Carolina was included in its terms, cannot be substantiated.
[1109] According to Lincoln's official report, the Continental troops, "including the sick and wounded", surrendered prisoners of war at Charleston numbered 2,487. Adding to this the 89 Continentals killed, we have 2,576, or within five of the number of the garrison as given in the New Jersey Gazette for June 23, 1780 (Hough, Charleston, 198). Lincoln says further that at the time of surrender the militia "effectives" did not exceed 500 men (Lee, Memoirs, i. 141), in all not over 3,000. Clinton, in his report as usually printed, gives the total as 5,612, or 5,618, "together with town and country militia, French and seamen, make about six thousand men in arms." In Beatson, Memoirs, vi. 209, the number of seamen is printed as 100 instead of 1,000—a considerable reduction, and perhaps nearer the mark. Clinton's estimate was further increased in the royalist newspapers of the time to "between seven and eight thousand men." Lincoln's figures are probably the nearest to the truth, as all the contemporary writers on the American side insisted that Clinton counted among his prisoners every man capable of bearing arms in Charleston. At any rate, whatever their number, the militia, excepting the artillery company, seem to have been of but little service, as their loss in killed and wounded was not over forty, and in this estimate is included the total loss to those inside the lines not otherwise accounted for. Lincoln stated his killed at 89, and wounded at 140. But both Ramsay and Moultrie say that from five to six hundred Continentals were in the hospital at the time of the surrender.
In Beatson's Memoirs (vi. 204) there is a List of the different regiments and corps selected by Sir Henry Clinton to accompany him on the expedition against Charlestown. It gives the total, exclusive of staff, at 7,550. There were in Savannah at the time about 2,000 more, and the reinforcement which arrived in April numbered about 3,000 men. Clinton therefore had about 13,000 men at his disposal in May, 1780. Of course, a large proportion of this force was employed in detachments,—guarding Savannah, breaking up Lincoln's communications, and the like; so that it is impossible to say how many men Lincoln had in his front at any one time.
Clinton's loss from Feb. 11th to May 12th is given by himself at 76 killed and 189 wounded. To this should be added the loss of the sailors, who seem to have participated in a good many land expeditions,—23 seamen killed and 28 wounded, or a grand total of 316. None of these figures include the losses and numbers engaged in the minor actions. But there is so little data with regard to them that it has seemed best to omit them in these estimates.
[1110] It was widely reprinted, as, for instance, in The New Annual Register for 1780, under Principal Occurrences, p. 55; Pol. Mag., i. 455; Remembrancer, x. 41; Tarleton, 38, etc., etc. An abstract under title of A memorandum, etc., is given in the Ninth Report of the Hist. MSS. Commission, App. ii. p. 109. A previous report, bearing date of March 9th, has been found,—London Gazette for April 25-29, 1780; Pol. Mag., i. 397; Tarleton, 34; and Hough, Charleston, p. 190. The gap between March 9th and 29th must be filled from other sources. The instructions as to reducing South Carolina to obedience, from Germain to Clinton and Arbuthnot, are dated Whitehall, 3 Aug., '79 (Charleston Year-Book for 1882, p. 364). Clinton issued in all six proclamations, including the one signed by him conjointly with Arbuthnot, as commissioners. The first was dated at James's Island, March 3, 1780. It promised protection, etc., to all who should take the oath of allegiance. These protections were given in a most indiscriminate fashion, and caused the complaint of Cornwallis above noted. The paper was reprinted by Hough in his Charleston, p. 24. Next came the "Handbill", without date, but sent out soon after the capitulation (Remembrancer, x. 80). The proclamation of May 22d threatened vengeance on all who should prevent the loyalists from coming in (Remembrancer, x. 82; Ramsay, Rev. in S. C., ii. 435; and Tarleton, 71). The most important proclamation, however, and the one to which Cornwallis took such violent exception, pardoned all not included in a few specified classes (June 1st), and was signed by the two chief commanders (Remembrancer, x. 85; Hough, Charleston, 178; Ramsay, Rev. S. C., ii. 438; Tarleton, 74, etc.). A fac-simile is in Charleston Year-Book (1882), p. 369. The proclamation of June 3d called upon those on parole, with a few exceptions, to give up their paroles, take the oath of allegiance, and thereby secure "protections" (Remembrancer, x. 82; Hough, Charleston, 182; Ramsay, Rev. in S. C., ii. 441; Tarleton, 73; Moultrie, Memoirs, ii. 384, etc.). The Address of divers Inhabitants of Charleston to Sir Henry Clinton, June 5, 1780, is (Remembrancer, x. 93; Ramsay, ii. 443; Moultrie, ii. 386, etc.) without names, which are appended to the copy in Hough, Charleston, 148, where it is stated to be reprinted from Rivington's Royal Gazette of June 21, 1780. The names, however, are from the Gazette of June 24th. The letters of Cornwallis on this subject are in his Correspondence, i. 40, 46, and 48. There is a very striking passage in Moultrie, i. 276, with regard to this business. Cf. also Ibid. 314, and Johnson's Greene, i. 279.
[1111] Hough in his Charleston (p. 50) has reprinted a despatch purporting to have been written by Clinton and addressed to Lord George Germain. It was dated Savannah, Jan. 30, 1780; reprinted in Hough, Charleston, p. 50; and was said to have been captured by a privateer. In it Clinton described the dispiriting effect on the royalists of Georgia of D'Estaing's attack on Savannah. It has been regarded as a forgery, partly on this very account. It probably was a forgery. But it is curious to observe that the opening pages of Tarleton contain the same statement, and he repents the despatch without a hint as to its being a forgery. And this forms the ground of Mackenzie's first stricture.
[1112] Moore, Diary, ii. 269; "Allen", Hist. Am. Rev., ii. 296; An Impartial History (Bost. ed.), ii. 386; Beatson, Memoirs, v. 8; Soulés, Troublés, iii. 259; Johnson's Greene, i. 274; Sargent, Life of André, p. 225; Marshall's Washington, iv. 135; Sparks's Washington, vii. 92; Wilmot G. De Saussure in Charleston Year-Book (1884), p. 282; Eelking's Hülfstruppen, ii. 59; Ewald, iii. 252; and Lowell, Hessians, 243.
A good account of this and the other operations in South Carolina is in Mills's Statistics of South Carolina, while Mrs. Ellet, in her Domestic History of the American Revolution (pp. 151-290), has well set forth the services of the women of the South. Cf. the Letters of Eliza Wilkinson, during the invasion and possession of Charleston, S. C., by the British in the Revolutionary War. Arranged from the original manuscripts, by Caroline Gilman (New York, 1838). The articles of capitulation are in Tarleton, p. 61, and R. E. Lee's ed. Lee's Memoirs, p. 158. The correspondence of the commanders is in Polit. Mag., i. 454. The abject condition of South Carolina after the reduction of Charleston is set forth in Ardanus Burke's Address to the Freemen of South Carolina, Phil., 1783. The British exhilaration is shown in Moore's Songs and Ballads, 293. The Memoirs of Josias Rogers, Commander of H. M. S. "Quebec", by Rev. Wm. Gilpin (London, 1808), is said to have passages concerning the siege.—Ed.
[1113] Reprinted in Polit. Mag., i. 513; Remembrancer, x. 76; Ramsay, Rev. in S. C., ii. 432; Tarleton, Campaigns, 83; Cornwallis Correspondence, i. 45, etc. It is often accompanied by two letters: one from Cornwallis, approving his conduct; the other from Clinton to Germain, calling the latter's attention to the fact that "the enemy's killed and wounded and taken exceed Lieutenant-Colonel Tarleton's numbers with which he attacked them."
[1114] There are good descriptions in Lee, Memoirs, i. 148; Ramsay, Rev. in S. C., ii. 108; Moultrie, Memoirs, ii. 203; Gordon, iii. 360; and Stedman, ii. 192; though all these writers obtained their information from others.
[1115] Good accounts of this affair are in Marshall's Washington, iv. 208, and Lossing, Field-Book, ii. 458.
[1116] It was reprinted by Wheeler in his North Carolina, ii. 227, and in an abbreviated form in Hunter's Sketches of Western North Carolina, p. 206. It forms the basis of the account in Dawson, Battles, i. 592. See also Historical Magazine, xii. 24.
[1117] They can also be found in full in the Ninth Report of the Royal Commission on Historical MSS., Appendix, iii. p. 103; Cornwallis Correspondence, i. 488 and 492; Tarleton, 128; Annual Register (1780), under Principal Occurrences, p. 72; and Political Magazine, i. 675, 678. The second one is in the Remembrancer, x. 267; Tarleton, 128; Gentleman's Magazine for Oct., 1780; and in many other places. Not long before the battle, Gates supposed himself to be at the head of 7,000 men,—Williams in Johnson's Greene, i. 493,—while an estimate found in De Kalb's pocket (Remembrancer, x. 279) gives the size of the American army at some day before the battle at 6,000, less 500 deserters. In this estimate the Virginians were reckoned at 1,400,—twice their real number. Jefferson in "Memoranda" (Giradin, iv. 400) gives the total at 2,800,—the North Carolina militia being rated at 1,000, far below their real strength. Williams (Narrative, in Johnson's Greene) gives the "rank and file present and fit for duty" as 3,052. Gordon gives the total, including officers, as 3,663. If we add to this number the light infantry and cavalry we get a total of 4,033 men of all arms. This is probably as correct an estimate as can be made. Cf. J. A. Stevens in Mag. Am. Hist. (v. 267), where the subject is fully discussed.
Cornwallis had in the engagement itself 2,239 men, of whom 500 were militia. Cf. Field Return of the troops under the command of Lieutenant-general Earl Cornwallis, on the night of the 15th of August, 1780, in Remembrancer, x. 271, etc. This is given by Beatson, Memoirs, vi. 211, as Return of troops ... at the Battle of Camden.
As to the American loss, it appears that Cornwallis, without taking much pains to inquire, wrote to Germain that between 800 and 900 of the enemy were killed and wounded, about 1,000 being prisoners. Even supposing the wounded to have been counted twice, this is too high. Only three Virginia and sixty-three North Carolina militiamen are anywhere reported as wounded, while none were killed. In fact, from their speedy dispersal the militia loss must have been very slight. In any correct return they would have appeared as missing. But no attempt at such a return was made. The nearest approach to it is A List of Continental Officers, killed, captivated, wounded, and missing in the actions of the 16 and 18 August, 1780. This is signed by Otho H. Williams, and is in Remembrancer, x. 338; Ramsay, Rev. in S. C., ii. 454. It is erroneously printed in the N. E. Hist. Geneal. Reg., xxvii. 376, as a Return of the Killed, wounded, captured, and missing at the Battle of Camden, which it certainly is not. There were between ten and twelve hundred Continentals present. They bore the brunt of the action and suffered nearly all the loss. Yet Gates wrote on the 29th of August that "seven hundred non-commissioned officers and men of the Maryland division have rejoined the army." See, also, Williams in Johnson's Greene, i. 505. In view of this it seems that even Gordon's estimate of 730 is too high, while Cornwallis's figures are simply ridiculous. He certainly did not overstate his own loss when he gave it as 68 killed, 245 wounded, and 11 missing, or 324 in all. Cf. return usually annexed to his report, and printed separately by Beatson in his Memoirs, vi. 211.
[1118] A mystery surrounds the life of De Kalb. But he died as became a man of worth and honor. The fullest account of his career is The Life of John Kalb, Major-general in the Revolutionary Army, by Friedrich Kapp, "privately printed" in New York in 1870. In 1884 there seemed to be a revival of interest in the hero of Camden, and the volume was published. It is a translation of Kapp's Leben des Amerikanischen Generals Johann Kalb, Stuttgart, 1862. An earlier notice was the Memoir of the Baron de Kalb read at the meeting of the Maryland Historical Society 7 January, 1858, by J. Spear Smith. Both Kapp and Smith, from whom Kapp quotes, are unwarrantably severe on Gates, as, too, is G. W. Greene in his German Element in the War of American Independence, N. Y., 1876, pp. 89-167. See, also, Thomas Wilson, The Biography of the Principal American Military and Naval Heroes, N. Y., 1817; Headley, Generals, ii. 318; Lee, Memoirs, i. 378, etc. For an account of the monument to De Kalb, see H. P. Johnston in Mag. Amer. Hist., ix. 183.
[1119] The whole letter is interesting,—Third Report of Hist. MSS. Com., Appendix, p. 430; a portion was reprinted in Mag. Amer. Hist., vii. 496, and copied thence by Kapp in his Life of John Kalb, p. 322.
[1120] Printed under the title of Gates's Southern Campaign in Hist. Mag., x. 244-253.
[1121] There is an extract in the Mag. Amer. Hist., v. 258. The whole is copied in the Sparks MSS., xx., from the Gates Papers.
[1122] The editors of Jefferson's Works (q. v. i. 249) omitted this on the ground that the "circumstances of the defeat of General Gates's army near Camden" are of "historical notoriety." Cf. Giradin's Continuation, iv. 398, where an account probably identical with this is given. It is one of the best descriptions.
[1123] The best of this class, perhaps, is that of Colonel Senff, an engineer officer who was with Sumter at the time. The original is among the Steuben Papers, a portion being printed in Mag. Amer. Hist., v. 275. See also two letters written by Governor Nash of North Carolina (Tarleton, 149, and Corres. Rev., iii. 107). The latter is especially valuable as showing the effects of the disaster on the public mind. Marion also announced the defeat to P. Horry (Gibbes, Doc. Hist., 1776-1782, p. 11).
In a letter dated Kennemark, Sept. 5, 1780, Greene describes the defeat from Gates's despatches, which had not then been made public (R. I. Col. Rec., ix. 243; R. I. Hist. Soc. Coll., vi. 265; and Mag. Amer. Hist., v. 279). A more valuable letter on the same subject is one to Reed, written after his arrival in the South (Reed's Reed, ii. 344). But the most important of these Greene letters is one dated High Hills of Santee, Aug. 8, 1781 (quoted by Gordon, iv. 98), in which Greene declares that Gates did not deserve the blame with which his career in the South was so unhappily closed. Moore (Diary, ii. 310) gives several extracts from accounts of the affair which appeared in Rivington's Royal Gazette. Another contemporary account from a British source is in Lamb's so-called Journal, pp. 302-307. Lamb was a standard-bearer in a British regiment at the time, and his narrative seems to have been written while details were still fresh in his mind.
[1124] Remembrancer, x. 276; Ramsay, Rev. in S. C., ii. 456, etc. Important letters of Gates as to his dispositions after the action are in Mag. Amer. Hist., v. 308; Remembrancer, x. 338; Corres. Rev., iii. 66; Maryland Papers, 128, etc., etc.
The charges of undue haste and refusal to take the advice of others, so recklessly heaped on Gates by Bancroft and the writers who have copied him, appear to be without foundation. After a careful examination of the field, in company with Otho H. Williams, Greene advised against making an inquiry into Gates's conduct, while "Light-Horse Harry" Lee wrote to Wayne (R. E. Lee's edition of Lee's Memoirs, p. 32) that Gates "has been most insidiously, most cruelly traduced.... An action took place on very advantageous terms; we were completely routed." In his Memoirs, Lee censured Gates for not using cavalry. But this, too, seems undeserved, as a note to page 394 of Giradin's Continuation contains evidence to the effect that Gates could not get—though he made every effort—the cavalry he was blamed for not employing. The most exhaustive article in his defence is The Southern Campaign, 1780: Gates at Camden, by John Austin Stevens, in Mag. Amer. Hist., v. 24-274. It is wholly in favor of Gates, and is so one-sided that it should be read with the greatest caution. Singularly enough, when he wrote this article, Mr. Stevens, as he acknowledges (p. 424), did not know of the existence of the Pinckney letter noted above. For the other side, perhaps, nothing is better than a short, carefully written article by Henry P. Johnston, entitled De Kalb, Gates, and the Camden Campaign, in Mag. Amer, Hist., viii. 496, and reprinted without map in Kapp's Kalb, Appendix, p. 322. Of the more popular accounts, that in Marshall's Washington (iv. 169) is still one of the best. Mention should also be made of the description in McRee's Life and Correspondence of James Iredell, N. Y., 1857, i. 456-461. Accounts of more or less value will also be found in Greene's Greene, iii. 17; Johnson, Greene, i. 296; Harper's Monthly, lxvii. 550; Botta (Otis's trans.), iii. 206; Soulés, Troubles, iii. 285; Allen, Hist. Amer. Rev., ii. 318; Andrews, iv. 27; J. C. Hamilton, Hist. of the Republic, ii. 120; Sparks, Washington, vi. 214; Irving, Washington, iv. 91; Lossing, Field-Book, ii. 459; Carrington, Battles, 513; Dawson, Battles, iii. 613, etc., etc.
[1125] There is some detail in Mrs. Ellet's Women of the Amer. Rev., iii. App. The best known portrait of Sumter is by C. W. Peale. It is engraved in the quarto edition of Irving's Washington. Cf. Lossing's Field-Book, ii. 651.—Ed.
[1126] The first, dated Camden, July 7, 1780, is in Remembrancer, xi. 156, and Pol. Mag., ii. 339. The more famous letter, without date, but containing the offer of a reward for the head of every Irish deserter, is in Ramsay, Rev. in S. C., ii. 132; Moultrie, Memoirs, ii. 215; and Washington's Writings, vi. 554. See also Sparks, Corres. Rev., iii. 77 (note). The extract of the letter to Balfour or Cruger, which aroused the ire of Washington, is in Washington's Writings, vii., Ramsay, Rev. in S. C., ii. 157, and Moultrie, Memoirs, ii. 240. Cornwallis's own version is in his Correspondence, i. 56, and Draper's King's Mountain, p. 140. A proclamation embodying the British commander's ideas as to confiscation was issued on either the 6th or 16th. of September, 1780 (Tarleton, 186; Ramsay, Rev. in S. C., ii. 460; and Remembrancer, xi. 25). Clinton's reply to Washington is in Cornwallis Correspondence, i. 60, with Cornwallis's and Rawdon's explanations (pp. 72, 501).
[1127] Ramsay was a prisoner at the time, and what he says (Rev. in S. C., ii. 158-173, 288-303) has a considerable value. A large portion of Moultrie's second volume (pp. 117-201) is taken up with the same subject. Both of them relied on a letter written to Ramsay by Dr. P. Fassoux, surgeon-general in the hospital at Charleston. Moultrie declares that the letter "is an exact statement of their conduct in our hospital at that time." The letter is in Moultrie, Memoirs, ii. 397,—the indorsement is on p. 277; Gibbes, Doc. Hist. (1781-82), p. 116; and Ramsay, Rev. in S. C., ii. 527. If a tithe of this statement is true, the conduct of the British officers in charge at Charleston was simply brutal; but the British surgeon denied most of the statements. It will do no harm to contrast this with the treatment of those taken at Yorktown, as told by one of their own number, Gen. Graham. Cf. his Memoirs, 66 et seq., and App. p. 306. English writers have asserted that papers implicating the Charleston prisoners in a conspiracy to overthrow the government were found in the pockets of those taken at Camden; but no proof of this has ever been produced. In fact, in his letter of Dec. 4th Cornwallis alleged as a reason for their removal to St. Augustine that they were so insolent in their behavior they could not be allowed to go at large in Charleston. Indeed, the prisoners seem to have been treated with increased harshness after Camden. Before that time everything had been done to induce them to enlist in the British army. A regiment had been raised, and the command offered to Moultrie, and refused by that sturdy patriot in a letter which has been printed over and over again. Cf. Moultrie, Memoirs, ii. 166; Ramsay, Rev. in S. C., ii. 289; Charleston Year-Book for 1884; and reprinted as The Correspondence of Lord Montague with General Moultrie, 1781 (Charleston, 1885).
[1128] Hayne's letters to the British authorities are in Gibbes, i. p. 108; Remembrancer, xiii. 121; Ramsay, 508-520.
[1129] Greene waited till Gadsden and his fellow-prisoners were safe within the American lines; and his officers, in ignorance of his purpose, remonstrated, Aug. 20, 1781, against this delay (Ramsay, ii. 521; Moultrie, ii. 414; Greene's Greene, iii. 558; Gibbes, i. 128). Greene's formal proclamation, Aug. 26th, declared that the first regular British colonel captured should suffer (Ramsay, Rev. in S. C., ii. 524; Moultrie, ii. 417, Remembrancer, xiii. 125, etc.). Cf. also Greene to Washington, Aug. 26, 1781, in Corres. of Rev., iii. 393; Balfour to Greene, Sept. 3, 1781. The letter to which this is an answer I have not found in Ramsay, U. S., 520, extract; and Gibbes (1781-82), 168. And see also Greene to Balfour, Sept. 19, 1781, in Gibbes, 168. Before this threat could be carried out a new commander arrived at Charleston, and the war took on humaner methods.
[1130] Cf. Hansard, xxii. 963; Parl. Reg. (Debrett), xxv. 81; Polit. Mag., iii. 45, 73, 237, 383; Lee's Memoirs (2d edition), 326; Hist. Mag., x. 269.
[1131] Lee's Campaign of 1781, App.; R. E. Lee's ed. of Lee's Memoir, p. 613.
[1132] Cf. Lieut. Hatton in Mackenzie's Strictures.
[1133] Pickens to Greene in Johnson's Greene, ii. 135, and Gibbes, Doc. Hist. (1781-82), 91. On the other hand, Browne, the British commander at Augusta, in a letter to Ramsay, dated Dec. 25, 1786 (White's Hist. Coll.), asserts that James Alexander, a captain in Pickens's militia, was the murderer whom Pickens shielded. It would seem that such was the case. See further Johnson's Traditions; McCall's Georgia; Jones's Georgia, ii. 455; Stevens's Georgia, ii. 247; White's Hist. Coll. of Georgia, 210; Lee's Memoirs, ii. 204; and Stedman, American War, ii. 219.
[1134] There is an account of this author's life in Mag. Western History, Jan., 1887.
[1135] He gives portraits of John Sevier, Shelby, Samuel Hammond, Joseph McDowell, and De Peyster; and a view of Ferguson's headquarters. W. E. Foster, in his review of Draper, gives references (N. E. Hist. and Geneal. Reg., Jan., 1882, p. 92).
[1136] See the "report" in Draper, 522; Foote's Western North Carolina, 126; Moore's Diary, ii. 338; and the newspapers of the time. As to the opposing numbers, Ferguson had when attacked from nine to eleven hundred men; the Americans numbered a little over nine hundred. But as to the losses, it is within the truth to say that the British loss was not under seven hundred and fifty in killed, wounded, and prisoners; and it has been given as high as eleven hundred and three in the official report. There is every reason to suppose that this was an overestimate. The killed and wounded on the American side did not exceed one hundred, and may be stated at ninety. This is supposed to have resulted from the fact that the fire of the Tories, being down-hill, was not so effective as the fire of the patriots in the opposite direction. Draper (King's Mountain, 297) has said all that can be said on this subject. There is an account of Campbell in the Mag. of Western Hist., Jan., 1887.
[1137] Draper, 546; Foote's Sketches of Western North Carolina, 264; and Southern Literary Messenger, xi. 552. It forms the basis of the account in Ramsay's Annals of Tennessee, 225. On the whole, this account is very favorable to Shelby.
[1138] Many years before this, a dispute had broken out between the descendants of Campbell and Shelby himself. The portions of the papers which this brought forth, so far as they relate to King's Mountain, are reprinted in Draper, 540. What was in some sort a last word was said by John C. Preston, Campbell's descendant, in his Address delivered at the Celebration of the battle of King's Mountain (printed separately at Yorkville, S. C., 1855).
Charges of cowardice were also made on the British side. In February, 1781, a writer in the Political Magazine accused De Peyster of surrendering too soon; but in the same magazine (iii. 609) are documents vindicating his character. Ferguson's death deprived Cornwallis of a most valuable officer. For Ferguson, see Biographical Sketch or Memoir of Lieutenant-Colonel Patrick Ferguson, by Adam Ferguson (Edinburgh, 1817). Cf. also Political Magazine, ii. 60; Mackenzie, Strictures, 63; Foote, Sketches of Virginia, 2d series, 129.
[1139] This was given to Draper by Allaire's grandson, J. De Lancey Robinson, of New Brunswick. The part relating to this campaign is in Draper, 505-515. The British Museum has recently acquired a MS. narrative of one Alexander Chesney, who describes the partisan warfare in Carolina during the Revolution. He was wounded at King's Mountain.—Ed.
[1140] There are good accounts in the contemporary books, especially in Ramsay, Rev. in S. C., ii. 178; Gordon, iii. 462; Moultrie, ii. 242; Lee, Memoirs, i. 207; Stedman, ii. 220; and Tarleton, 164. Tarleton's account of Ferguson's campaign was displeasing to Mackenzie; cf. Strictures, 58. It was also very distasteful to Cornwallis, whom his former subordinate censured. Much can be gleaned from the local histories: W. B. Zeigler and B. S. Crosscup, The Heart of the Alleghenies or Western North Carolina (Raleigh, N. C., and Cleveland, Ohio, 1883, p. 219); Hunter, Sketches of Western North Carolina, 300; J. H. Logan, History of the Upper Country of South Carolina (Columbia, 1859), vol. i., all ever published, p. 68. Cf. also J. W. De Peyster in Historical Magazine, xvi. 189-197, and Magazine of American History, v. 401-424; Lossing, Field-Book, ii. 624, and American Historical Record, i. 529; Marshall, Washington, iv. 397; J. C. Hamilton, Hist. of the Republic, ii. 161; Am. Whig Rev., 2d series, ii. 580. Bancroft was present at the celebration in 1855, and made a speech. Cf. Celebration of King's Mountain, p. 75; Moore's Life of Lacey, etc. For poetry we have a rude ballad by an unknown author,—cf. Draper, 591; a poem by Paul H. Hayne in Harper's Monthly, lxi. 942; by W. G. Simms in Ibid. xxi. 670; and a stirring ballad, written shortly after the action, by an anonymous author in Moore, Songs and Ballads of the American Revolution, p. 335, and Draper, 592.
There is no good plan of this action. Foote (Sketches of Western North Carolina) says that Graham made "several plots of the ground showing the position of the different bands at different times." One of these, depicting the situation at the time of the surrender, has been printed. It should have accompanied the original publication of Graham's account in the Southern Literary Messenger (xi. 552), but was omitted. What I take to be the same is given by Major-General John Watts De Peyster in the Historical Magazine (xvi. 192), who says that it was first printed in the Southern Lit. Messenger, but when he does not say. He adds that it was copied in the University of North Carolina Magazine. A plan closely resembling it in general features is in Ramsay's Annals of Tennessee, p. 238. A fac-simile of this last is in Mag. of Am. Hist., v. 414. Draper (page 236) gives a Diagram of the Battle of King's Mountain, in which the corps are arranged to suit his ideas, together with a map of the neighboring region. There seems to be little doubt but that Graham's arrangement is faulty, and too favorable to Shelby. As to this officer, cf. Mag. of Western Hist. (Jan., 1887). Lossing gives views of the field (Field-Book, ii. 629, 634).
[1141] Cf. Ninth Report of Hist. MSS. Commission, App. iii. p. 109. The second of these is also in Cornwallis Cor., p. 495, and Clinton, Observations on Cornwallis, etc., App., 32.
[1142] Cf. Parl. Reg., xxv. 124; Fifth Report of Hist. MSS. Comm., 236; Political Mag., ii. 339; and Germain Cor., 10.
[1143] London Gazette, Feb. 13-17, 1781; Annual Register, 1780 (Principal Occurrences, p. 17); Clinton, Observations on Cornwallis, etc., App. p. 45; and Cornwallis Corres., i. 497. A short extract is in Tarleton, p. 203.
[1144] Cornwallis Corres., i. 57-74, and Clinton, Observations on Cornwallis, etc., pp. 29, 35.
[1145] Cf. also Marshall, Washington, iv. 336; G. W. Greene, Historical View of the American Revolution (Boston, 1865), pp. 265-281,—very laudatory. McRee, Life of Iredell (i. 481-565), contains, besides many interesting letters from and to the subject of the book, an explanatory text, in which the author endeavors to defend North Carolina from various charges that have been brought against her people and militia. Reminiscences of Dr. William Read in Gibbes, Doc. Hist. (1776-82), 270 et seq.; Randall, Life of Jefferson, i.; Kapp's Steuben, Am. edition, pp. 344-369; Le Boucher, i. 280, and ii. 17; Allen, Hist. Am. Rev., ii. 369-392; Caldwell's Greene, pp. 150-388; Reed's Reed, ii. 339-381; J. C. Hamilton, Life of A. Hamilton, i. 308, and History of the Republic, ii. 41, 133; Irving's Washington, iv. There is an interesting article in Harper's Monthly, xv. 159, on the first part of the campaign, and a good account of the later portion from the British side in the Political Mag., iv. 25-36.
Various letters of Greene after assuming command are in the Steuben Papers (copies in Sparks MSS., xv.). Washington's instructions are in Sparks, vii. 271. He reached Charlotte in December (Corresp. of Rev., iii. 165); Mag. of Amer. Hist., Dec., 1881; by Lewis Morris in N. Y. Hist. Soc. Coll., 1875, p. 473; by C. W. Coleman in Mag. of Am. Hist., vii. 36, 201.
[1146] For a brief and appreciative notice of Williams, see Lee, Memoirs, i. 410. Cf. also A Sketch of the Life and Services of Gen. Otho Holland Williams, read before the Md. Hist. Soc. by Osmond Tiffany (Baltimore, 1851).
[1147] There is a short notice of William Washington in Lee, Memoirs, i. 399. See also Wyatt, 79-83.
[1148] Carrington was less known, but Hartley in his Heroes, p. 318, has devoted a short space to him.
[1149] Cf. Memoirs of Generals ... who were presented with medals by Congress, by Thomas Wyatt (Phila., 1848), pp. 70-78; Mag. of Am. Hist., vii. 276-282,—with portrait; Hartley, Heroes, 317; Rogers, Biog. Dict., 228, etc.
[1150] Davie, however, rose into prominence. Cf. Frances M. Hubbard, Life of William Richardson Davie, in Sparks, Am. Biog., xxv. pp. 1-135. Pages 13-177 relate to his military career. Cf. also Lee, Memoirs, i. 381; Lives of the Heroes, 134; and Rogers, Biog. Dict., 114.
[1151] Cf. Greene's Greene, iii. ch. 1. The earliest general map of the Southern campaigns from American sources appeared in David Ramsay's Hist. of the Rev. in So. Carolina (vol. i., Trenton, 1785). Gordon, in 1785, sent this Ramsay map to Greene, asking him to correct it, and lest it should not answer he sent other maps of the Southern States for Greene to amend (Hist. Mag., xiii. 24, 25). Gordon's own map is in his third volume, and is reduced in Greene's Greene. Other early American maps are those in Marshall's Atlas to his Washington, and in Johnson's Greene, vol. ii.
The English maps are A new and accurate map of North Carolina and part of South Carolina, with the field of battle between Earl Cornwallis and General Gates (London, 1780), and Faden's map of Feb. 3, 1787, showing the Marches of Lord Cornwallis in the Southern provinces, comprehending the two Carolinas, with Virginia and Maryland and the Delaware Counties (20 × 26 inches), which is the one also used in Tarleton's Campaigns. Cf. those in the Political Mag., Nov., 1780, and Kitchen's Map of the Seat of War, in London Mag., 1781, p. 291. There are later eclectic maps in Carrington, 556; Harper's Mag., lxiii. 324; and in such lesser works as Ridpath's United States, 342, and Lowell's Hessians, 265. There are French maps in Hilliard d'Auberteuil's Essais, ii.; Balch's Les Français en Amérique, etc.
There was a map of South Carolina published in nine sheets (London, 1771,—King's maps, Brit. Mus., i. 209). That by James Cook was engraved by Bowen in 1773 (Brit. Mus. Catal. Maps, 1885, col. 699). Other maps antedating the active hostilities in the South were those in the Amer. Military Pocket Atlas (1776); the large sheet (56 × 40 inches), with considerable detail, called Map of North and South Carolina, the work of H. Mouzon and others (London, Sayer & Bennett, 1775); and upon this and Cook's the map in B. R. Carroll's Hist. Coll. of So. Carolina is based. Sayer & Bennett (London, 1776) published a smaller map, 19 × 25 inches, called A general map of the southern British colonies in America, comprehending North and South Carolina [etc.] with the Indian countries. From the modern surveys of de Brahm & others & from hydrographic survey, by B. Romans, 1776. It has marginal plans of Charleston and St. Augustine.
In 1777 there was published both in London and Paris a large map of South Carolina and Georgia, after surveys by Bull, Gascoigne, Bryan, and De Brahm. The Paris publisher was Le Rouge, and it was included in the Atlas Amériquain, which also reproduces the Mouzon map and the English map of the Carolina coasts, by N. Pocock (1770).
The Bull, etc., map of 1777 was reissued by Faden in 1780 as a Map of South Carolina and a part of Georgia. Cf. the map of Parts of South Carolina and Georgia in the Political Mag., i. 454. The Brit. Mus. Catal. Additional MSS., no. 31,537, shows four plans, giving positions of the British in South Carolina from May to September, 1779.
North Carolina alone was not so well mapped as South Carolina at the outbreak of the war. There was a map published in London in 1770, after surveys by Collet, governor of Fort Johnson (King's maps, Brit. Mus., i. 208), and in the same library is a drawn map, also by Collet, of the back country, made in 1768, in twelve sheets. E. W. Caruthers' Interesting Revolutionary incidents chiefly in the old North State, second series (Philadelphia, 1856), has a folding map, with the marches of Greene and Cornwallis, from the Cowpens till the separation at Ramsey's Mill.
The standard map of Virginia at the outbreak of the war was that by Fry and Jefferson (see Vol. V. p. 273), originally issued in 1751, but reproduced by Jefferys in 1775, and included in his American Atlas (1775, no. 31). In 1777 Le Rouge reproduced it in Paris, and included it in the Atlas Amériquain. Cf. the map of Virginia and Maryland in Hilliard d'Auberteuil's Essais; and the maps in Political Mag., i. 787, and Mag. of Amer. Hist., vi. 25; and for details those in Simcoe's Journal (giving various skirmishes, etc.), Sparks's Washington, viii. 158; and Carrington's Battles, p. 616. There is among the Rochambeau maps (no. 51) a Plan du terrain à la rive gauche de la rivière de James, vis-à-vis Jamestown, en Virginie, où etait le Combat du 6 Juillet, 1781, giving the first and second positions of the troops in the engagement between Lafayette and Cornwallis. It is a colored map, 18 × 18 inches, with a good key. Cf. map on the operations in Virginia in Mémoires of Lafayette (Paris, 1837), vol. i.—Ed.
[1152] Pp. 258-329; 290-312 dealing more especially with this engagement. See also Johnson's Greene, vol. ii. pp. 346, 370, 372, and 410, and Charleston News and Courier for May 10, 1881. Some part at least of the correspondence of General Morgan is in the collection of Theodorus Bailey Myers (Johnson's Orderly-book, p. 211). There are a few letters in the Correspondence of the Revolution, iii. 217, with Greene's official announcement of the victory to Washington (pp. 207, 214). Greene's letter to Marion is in Gibbes, Doc. Hist., 1781-82, p. 16.
[1153] The London Gazette, March 27-31, 1781, reprinted either in whole or in part in Remembrancer, xi. 272; Pol. Mag., ii. 221; Tarleton, 249; Cornwallis, Answer to Clinton's Narrative, App. 1; Cornwallis, Corr., i. 81. Balfour, then the commander at Charleston, also reported the particulars to Germain. Cf. London Gazette, as above, etc. Cornwallis's order to Tarleton to "push Morgan to the utmost" is in Graham's Morgan 227, and in Tarleton, Campaigns, 244.
[1154] Mention should also be made of Lee, Memoirs, i. 252-266, and R. E. Lee's ed., 229; Moultrie, Memoirs, ii. 252; Gordon, Ramsay, Rev. in S. C., ii.,—all at second hand. See also Johnson's Greene, i. 368; Greene's Greene, iii. 139; Travels in North America in the years 1780, 1781, and 1782. By the Marquis de Chastellux—translated from the French by an English Gentleman (London, 1787), ii. 60. The marquis claimed to have derived his account from Morgan, but he probably did not understand him, as his description is at variance with the best authorities. There are accounts of more or less value in McSherry, Maryland, 276; Memoir of General Graham, p. 38; Marshall, Washington, iv. 342; Lossing, Field-Book, ii. 636; Carrington, Battles, 546; Historical Magazine, xii. 356 (Dec., 1865), a "traditionary account;" Harper's Monthly, xxii. 163, etc. Probably as good an estimate as can be formed of Morgan's force is that contained in a letter from Greene to Marion of January 23, 1781. He there gives it at 290 infantry and 80 cavalry of the line, and about 600 militia; total, 970. The estimate of the militia is too high, and might be reduced by 100. Then, too, there were a few small detachments. So that Morgan's assertion in his official report, that he fought with only 800 men, is not incompatible with this statement of Greene's. The British brought, or should have brought, into action at least 1,000 men, including 50 militia and a baggage-guard, which made off, without striking a blow, as soon as the news of the defeat reached it. Greene rates Tarleton's force at 200 more. But 1,000 was probably not far from his number of "effectives" on the morning of Jan. 17, 1781, as opposed to Morgan's 800.
In his official report Morgan gave his loss as 12 killed and about 60 wounded. He states, however, that he was not able at the time of writing to ascertain the loss of the militia in the skirmish and front lines. It must have been very small, however. The British loss he gives as more than 110 killed, more than 200 wounded, and between 500 and 600 prisoners. Morgan states, however, that, as he was obliged to move off the field so quickly, the estimate of killed and wounded was very imperfect. The loss of the British in officers was very large, and it is safe to follow Graham (Life of Morgan, p. 308) and place the killed at 80, the wounded at 150, and the prisoners at 600. The important fact is the deprivation to Cornwallis of his light infantry at a time when he was sorely in need of such.
A good plan will be found in Johnson's Greene, i. 378, of which a reduced fac-simile is given by Graham (p. 297). A more valuable plan as coming from an actual observer, Colonel Samuel Hammond, is in Johnson's Traditions, pp. 529, 530. The best plan is in Carrington's Battles, p. 547. The medals given to Morgan, Colonels Washington and Howard are figured in Loubat's Medallic Hist. of the U. S., and in Lossing's Cyclop. U. S. Hist., p. 341. Lossing, Field-Book, ii. 637, gives a view of the field.—Ed.
[1155] Those from Morgan are in Graham's Morgan, 328 et seq. The most interesting letter from Greene is one that he wrote to Reed (March 18), in Reed's Reed, ii. 348. A letter to Washington (Irwin's Ferry on Dan, Feb. 15, 1781) may be regarded as his official report. Cf. Corres. Rev., iii. 233. It should be read in connection with one of six days earlier, in the same volume, p. 225. Cf. also a letter to Lieutenant Lock as to militia in Hist. Mag., v. 86; Caruthers' Incidents, p. 195; originally printed in Tarleton, 252. Lee's description of the retreat after the union of the two wings at Guilford is admirable (Memoirs, i. 267-298).
[1156] London Gazette for June 2-5, 1781; Annual Register for 1781 (Principal Occurrences, p. 62); Cornwallis, Answer to Clinton, Appendix, p. 23; Cornwallis, Corres., i. 502; Tarleton, 259, etc. For a less official account, see Cornwallis to Rawdon, Feb. 4 and Feb. 21, in Cornwallis, Corres., 83, 84.
[1157] Cf. also British Invasion of North Carolina in 1780 and 1781. A Lecture, by Hon. Wm. A. Graham, delivered before the N. Y. Hist. Soc. in 1853. This short and interesting account of the campaign is printed as part iii. of Revolutionary History of North Carolina (Raleigh and N. Y., 1853), pp. 180-187. General Joseph Graham also presented the local idea of this campaign in the University of North Carolina Magazine, vol. iii.
[1158] See also Ramsay, Rev. in S. C., ii. 203; Greene's Greene, iii. 148-175; Johnson's Greene, i. 387. Johnson thinks that too much credit has been given to Cornwallis. Lamb's Journal, 343; Marshall's Washington, iv., etc.
[1159] The map is on p. 245. Stedman also gives a plan in Amer. War, ii. 328. The whole march can be traced on the general maps, especially the map in Caruthers' Incidents, second series. Cf. Lossing, ii. 598.
[1160] See also Seymour's "Journal" (Penna. Hist. Mag., vii.) for another contemporary account.
[1161] North Carolina University Magazine, vol. vii. 193. This was written in 1824 and cannot be regarded as authority of the first importance. The passage relating to this affair is quoted by Caruthers, Incidents, 76. That author's own account is derived to a great extent from tradition (Incidents, 71 et seq.). In the above letter Graham asserted that he saw Eggleston—the leader of Lee's rear troop—strike a Tory with the butt of his pistol, and that the blow brought about the conflict. The different narratives cannot be reconciled. Very likely Lee had forgotten the exact details. It is certain that Stedman (Amer. War, ii. 333), in his estimate of the Tory loss in killed alone at between two and three hundred, more than doubled the actual number; but it was a murderous business at best.
[1162] There are three letters from Greene to Washington in Sparks, Corr. Rev., iii. 224, 259, 266. The second of these (March 10) was also printed in Remembrancer, xii. 37; Pol. Mag., ii. 380; and Tarleton, 258. Greene's official report to the President of Congress may be found in Caldwell's Greene, p. 432; Ann. Reg. for 1781, Principal Occurrences, p. 148; Remembrancer, xii. 37; Tarleton, 313; Lee, Memoirs, i. 414, etc. Cf. also a letter to Morgan in Graham's Morgan, 372, and to Reed, in Reed's Reed, ii. 348. As to the proper dispositions to make in engagements where much reliance must be placed on militia, see Morgan to Greene, Feb. 20, in a note to Johnson's Greene, ii. 6. As to events subsequent to the battle, see Nash, governor of N. C., to Washington in Sparks, Corres. Rev., iii. 282; Greene to same in Ibid. 277; Johnson, Greene, ii. 37; and Remembrancer, xii. 116. Greene also wrote to Greene, governor of R. I., on the same subject. Cf. R. I. Hist. Soc. Coll., vi. 284, and R. I. Col. Rec., ix. 380.
[1163] Cornwallis's report to Germain (London Gazette, June 2-5, 1781) was widely reprinted (Corn. Corr., i. 506; Cornwallis, Answer to Clinton's Narrative, App. p. 35; Remembrancer, xii. 21, etc., etc.). He also wrote a friendly note to Rawdon, in which he says that after a very sharp action he had routed Greene (Corn. Corr., i. 85; Remembrancer, xi. 332; Polit. Mag., ii. 329, etc.). Balfour communicated the news of the "victory at Guilford" to Germain in two letters, dated respectively March 24 and 27. These last three letters arrived in London in season to be published in the Gazette Extra for May 11, 1781,—nearly a month before the official report was given to the world. Cf. also Remembrancer, xi. 329. Cornwallis's Order-book is very valuable for this period, although it is often hard to reconcile the dates as there given with the accepted accounts,—in Caruthers, Incidents, 2d ser. pp. 391-442. See also St. George Tucker to Fanny (his wife) under date of March 18, 1781, in Mag. Amer. Hist., vii. 40; viii. 201; and Seymour's "Journal" in Penna. Mag. Hist., vii. 377. Major Weemys gives the supposed strength of Cornwallis's army before the action at Guilford, March 15, 1781, as, in the field with him, 2,700; in his department, 6,000 in all (Sparks MSS. xx.).—Ed.
[1164] Good descriptions are in the Memoirs of the British Graham (pp. 41-46), in Gordon (iv. 53), and in Stedman (ii. 337). Lamb in his so-called Journal (pp. 348-362) follows Stedman, but he added several interesting anecdotes, which it must be remembered are related by an actual actor in the battle.
[1165] Another apologetic description is that in McSherry's Maryland (p. 286). The plain fact is that the 2d Maryland broke and contributed materially to the defeat of the Americans. The Grenadier Guards (Hamilton, ii. 247) did excellent work on the British side, and the account in the history of that corps is good. The Hessians, too, once more appeared on the Southern fields (Eelking, Hülfstruppen, ii. 101, and Lowell, Hessians, 268). Other accounts may be found in Marshall's Washington, iv. 336; Greene's Greene, iii. 176; Johnson's Greene, ii. 4; Allen, Hist. Amer. Rev., ii. 393; Andrews, iv. 100; Botta (Otis's trans.), iii. 263; Lossing, Field-Book, ii. 599 and 608; Mag. Amer. Hist., vii. 38; Harper's Magazine, xv. 158; Dawson, Carrington, etc.
A narrative of subsequent events in North Carolina, with a loyalist's sympathies, is in The Narrative of Colonel David Fanning ... as written by himself, Richmond, 1861. "Printed for private distribution only." A small edition (50 copies) was brought out by Sabin in 1865.
[1166] Greene to Huntingdon (President of Congress) in Caldwell's Greene, p. 435; Remembrancer, xii. 126; Pol. Mag., ii. 547; Tarleton, 467, etc. See also letters to Lee and Marion in Gibbes, Doc. Hist., 1781-82, 60. Cf. also Sparks, Corres. Rev., iii. 299, and Reed's Reed, ii. 351, 361.
[1167] Rawdon's order which brought on the battle is in Pol. Mag., ii. 340. The British commander reported to Cornwallis (Corn. Corr., i. 97, and Remembrancer, xv. 1); Balfour to Germain (London Gazette, June 2-5, 1781; reprinted in Annual Register for the same year under Principal Occurrences, p. 71; Pol. Mag., ii. 380; Remembrancer, xii. 27; Tarleton, p. 465; etc.). On the 6th Balfour wrote to Clinton, giving a very gloomy account of affairs (Clinton, Observations on Cornwallis, etc., App. p. 97). Clinton enclosed several letters of about this time to Germain (Remembrancer, xii. 151). In a letter to Cornwallis, dated Monk's Corner, May 24, Rawdon describes his movements after the fight. It is a valuable letter (London Gazette, July 31-Aug. 4, 1781; Remembrancer, xv. 4, while extracts are in Ibid. xii. 151; Pol. Mag., ii. 482; Tarleton, 475; Clinton, Observations on Cornwallis, etc., App. p. 91; Gibbes, Doc. Hist. (1781-82), p. 77, etc.).
[1168] Cf. also Gordon, iv. 81; Ramsay, Rev. in S. C.; Stedman, ii. 324; Lee, Memoirs, ii. 57 (he always spells the name of the battle-ground Hobkick's Hill); Lee, Campaign of 1781, 264; Balch's Maryland Line, 143. As to numbers, Greene thought that the two armies were about equal,—one thousand on each side. This is probably nearly correct; for Rawdon gave his own number at 960, and Gordon, on the authority of returns not now accessible, rated Greene's force at 1,194 men of all arms. This included 254 North Carolina militia who had just arrived. They were not included in the battle line. Williams reported the American loss at 268; but 133 of these are given as missing, with the remark that they probably had mistaken the order as to a place of rendezvous. Rawdon reported his own loss at 220 men. But Tarleton, on the authority of a return in the Annual Register, gives it at 258. The discrepancy is not material.
[1169] His letter to the President of Congress is in Remembrancer, xii. 197; Gibbes, Doc. Hist. (1781-82), p. 70; etc. Cf. also a letter to Washington in Sparks, Cor. Rev., iii. 310.
[1170] Cf. Remembrancer, xv. 6, for a copy. Cf. also Remembrancer, xii. 153; Pol. Mag., ii. 483; and Gibbes, p. 89, for extracts. A report to Clinton of June 6 is printed, with this, except in Gibbes.
[1171] Substantially the same account is in White's Hist. Coll. of Georgia, p. 607; Stevens's Georgia, ii. 247; and Jones's Georgia, ii. 455.
[1172] See, in addition to the above, Remembrancer, xii. 289. There are no plans of any of these sieges, and the statements as to numbers are too vague and contradictory to be made the basis of any accurate estimates.
[1173] There is an account of Cruger in Jones, New York during the Rev. War, ii. 376.
[1174] See also Greene, to Marion in Gibbes, Doc. Hist. (1781-82), p. 100; to Washington in Sparks, Cor. Rev., iii. 341; and to Jefferson in Greene's Greene, iii. 555. O. H. Williams sent an interesting description of the siege to his brother (Tiffany's Williams, p. 21). Greene's letters to Sumter and Marion and Sumter's letters to Marion are in Greene's Greene (fragmentary) and Gibbes, 93 et seq.
[1175] Several letters from Balfour to Germain of this period are in Remembrancer, xii. 172 and 173; Polit. Mag. ii.; and London Gazette, Aug. 7-11, 1781. Rawdon gives the loss of the garrison as less than forty, but this is very possibly too low. Cruger had 550 men when the siege began. The British account in Mackenzie rates Greene at 5,000, which estimate is absurd. It was not under 1,000 nor over 1,500, including militia. Williams reported the loss at 57 killed, 70 wounded, and 20 missing. Rawdon had "near 2,000" men. Of these 7 were placed hors de combat on the way up, "50" died of the heat, and Lee captured 250 of the cavalry on the homeward march,—a total loss of 307.
[1176] Something can also be found in Gordon, American War, iv. 92; Ramsay, Rev. in S. C.; Stedman, Amer. War, ii. 364; Johnson's Greene, ii. 127 (he apologizes for Sumter's behavior; but see Greene's Greene, iii. 319); Greene's Greene, iii. 219; Jones, New York during the Revolutionary War, ii. 376; Lossing, Field-Book, ii. 690; Marshall's Washington, iv. 524; etc. Simms has written several romances relating to this time.
Johnson has given a plan of the works in his Greene, ii. 140; a reduced fac-simile is in Greene's Greene, iii. 299. The works were planned by Lieutenant Haldane, of Cornwallis's family (cf. Stedman, ii. 364), but Lieutenant Barrette was engineer in charge at the time of the siege. Cf. Hatton in Mackenzie, 163. Also map in Lossing's Field-Book, ii. 691.
[1177] Dated near Ferguson's Swamp, Sept. 11, 1781, in Caldwell's Greene, p. 441; Remembrancer, xiii. 175; Pol. Mag., ii. 677; Gibbes, Doc. Hist. (1781-82), p. 141; Tarleton, p. 513, etc. Cf. also Marion to P. Horry, in Gibbes, 160.
[1178] It was dated Eutaw, Sept. 9, 1781 (London Gazette, Jan. 29-Feb. 2, 1782;) reprinted in whole or in part in Ann. Reg., 1782, Principal Occurrences, p. 7; Remembrancer, xiii. 152; Pol. Mag., iii. 108; Tarleton, 508; Gibbes, p. 136; etc., etc.
[1179] Cf. J. W. De Peyster in United Service (Sept. 1881; Harper's Mag., lxvii. 557); Lossing, ii. 699; Dawson, Carrington, etc. On the Eutaw flag, see R. Wilson in Lippincott's Mag., xvii. 311. Johnson (Greene, ii. 224) gives a plan of two stages of the battle, and it is reproduced by G. W. Greene (iii. 384). Carrington (p. 582) gives a minuter plan. Johnson (ii. 238) gives a map of the country between Eutaw and Charleston.
The journal of Captain Kirkwood, of the Delaware regiment, beginning at Germantown, Sept. 14, 1777, and giving the marches of that regiment in 1777, its course during the Southern campaign of 1780, with a table of the losses at Eutaw, Sept. 8, is in Sparks MSS., xxv. (also xlix. vol. 3). Greene's medal is given in Loubat.—Ed.
[1180] A notice of Laurens's career, by G. W. P. Custis, is in Littell's Graydon's Memoirs (Appendix, p. 472). See also Hartley's Heroes, 310.
[1181] Remembrancer, xv. 29; the latter is also in Corres. of the Rev., iii. 529. The Delaware troops took part in this action. Cf. C. P. Bennett in Penna. Mag., ix. 452 et seq. Major Bennett was a lieutenant in the regiment at the time. His account, however, was written fifty years after the war, and cannot be reconciled with contemporary narratives.
[1182] Cf. Life of Count Rumford, by George E. Ellis, pp. 123-131, and 666-668. There is absolutely nothing about Rumford's military career in Renwick's so-called Life of Benjamin Thomson, in Sparks's American Biography, xv. pp. 1-216. A most curious and insufficient reason for this omission is given on p. 59 of the same work.
[1183] See also "Journal of Captain John Davis" in Penna. Hist. Mag., v. 300, and Seymour's Journal in Ibid. vii. 390.
[1184] The Maryland Papers, too, contain several interesting letters, especially one from Roxburgh to Smallwood (p. 186), on the evacuation of Savannah. See also, with regard to the same event, Greene to the President of Congress, in Remembrancer, xv. 21.
[1185] Moultrie, Memoirs, ii. 343, has devoted considerable space to it. Cf. also Mag. Am. Hist., viii. 826.
[1186] Cf. especially on this last campaign Johnson's Greene, ii. 238-394, and Lee, Memoirs (2d edition), p. 378 et seq.
[1187] This table as given in Charleston Year Book (1883), p. 416, is not entirely correct.
[1188] See letter from Clinton, enclosing reports from Mathews of May 16th and 24th, and from Collier of May 16, 1779 (London Gazette, June 19-22, and July 6-10, 1779; also in Remembrancer, viii. 270, 296, etc.). Collier also wrote three letters to Stephens, secretary of the admiralty (London Gazette, as above, and July 10-13, 1779).
[1189] See also Girardin, Continuation of Burk, iv. 332-338; Hamilton, Grenadier Guards, ii. 236; Stedman, ii. 136; J. E. Cooke in Harper's Mag., liii. 1 etc.
[1190] A journal of Baron Steuben in Virginia, Dec. 21, 1780, to Jan. 11, 1781, is among the copies of the Steuben MSS. in the Sparks MSS., xv. 182. Cf. Kapp's Steuben, and the lives of Jefferson, then governor. Cf. Henry A. Muhlenberg's Life of Maj.-Gen. Peter Muhlenberg (Philad., 1849), who was under Steuben. Cf. also Deutsch-Amerikanisches Magazin, 1887; Lossing's Field-Book, ii. 383; Harper's Mag., lxiii. 333, for portraits and accounts.—Ed.
[1191] Clinton, Observations on Cornwallis, App. p. 61; Parliamentary Register, xxv. 143; and Germain Corresp., 75, 79. Arnold's report to Clinton of May 12th—Phillips, who died on the 13th, being too ill to write—is really a diary of events since the 18th of the preceding April, the day on which Phillips began the ascent of the James. It is in Remembrancer, xii. 60; Political Mag., ii. 390; and Hist. Mag., iii. 294. Extracts are given by Ramsay, Tarleton (p. 334), and others. The report (May 16) is given in full in Arnold's Arnold, p. 344. Jones in his New York during the Revolutionary War (ii. 463) says that Clinton, distrusting Arnold, gave dormant commissions to Dundas and Simcoe. The commissions were never used; but Simcoe in his Military Journal (ed. of 1787, pp. 108-146; ed. of 1844, pp. 158-208) gave a narrative of the whole movement, in which he figured himself as the principal personage. See also Memoir of General Graham, pp. 33-37; Beatson's Memoirs, v. 211-225; and Eelking, Hülfstruppen, ii. 105.
[1192] Giradin's account is full (Continuation of Burk, iv. 418). See also Muhlenberg's Muhlenberg, pp. 205-213; Sparks's Washington, vii. 269; Lee's Memoirs, R. E. Lee's ed., 297, 314; Howison's Virginia, ii. 248; Randall's Jefferson, i. 283-294, etc. See also, on these movements in Virginia, Wirt's Henry; Rives's Madison, i. 289; Madison's Writings, i. 45; Jefferson's Writings, ix. 212; Jones's New York during the Revolutionary War, ii. 177; Campbell's Virginia, 168; I. N. Arnold's Life of B. Arnold, 342-348; Gordon's Am. War, iv. 59; Moore's Diary, ii. 384; Va. Hist. Reg., iv. 195; Marshall's Washington, iv. 387; Sparks's Washington, vii. 347, 410; Carrington's Battles; Lossing's Field-Book, ii. 434, 546; and J. A. Stevens's "Expedition of Lafayette against Arnold" in Maryland Hist. Soc. Proc. (1878).
[1193] See also Gordon, iv. 107; Lee, Memoirs (2d edition), 285; Stedman, Am. War; and Beatson, Memoirs, v. 239. On Lafayette's preparations, see Mass. Hist. Soc. Proc., v. 150
[1194] Something may be found in Regnault's Lafayette, 190; Kapp's Steuben, 420; Eelking, Hülfstruppen, ii. 109; Chotteau, Les Français, etc. See also Harper's Monthly, vii. 145.
[1195] Mémoires ... du Générale Lafayette publiés par sa Famille (Paris, 1837), vol. i. This edition was in six volumes. An English translation in three volumes was published at London in the same year. The first volume of this was reprinted at New York in 1838, with an appendix containing many valuable documents not elsewhere in print. Among these is a report to Greene relating to the affair at the crossing of the James near Jamestown. Wayne, who commanded at the front, also made a report, which is in Sparks's Corres. of Rev. Lafayette's letters and narrative of his campaign in Virginia are in the Sparks MSS., nos. lxxxiv., lxxxvi.
[1196] See also The Part of Virginia which was the seat of action, in Gordon, iv. 116.
[1197] There is an interesting letter from Christian Febiger to T. Bland, dated July 3, 1781, in Bland Papers, p. 71. See also Ibid., p. 68.
[1198] Cf. also Denny's journal in Penna. Hist. Soc. Mem., vii.; Judge Brooks's account in Va. Hist. Reg., vi. 197; Mag. Amer. Hist., ii. 572. Lafayette always thought that he forced Cornwallis back to take post at Yorktown; but it was really Clinton's message that he could not reinforce Cornwallis that led the latter to fortify himself, according to E. E. Hale (Franklin in France, 463).—Ed.
[1199] The Tenth Report of the Royal Commission on Hist. MSS. (App. i. p. 29) contains two letters still further lessening the responsibility of Clinton for the disaster. In the first, from Lord George Germain to Clinton, the latter is given "positive orders to push the war in the South." The projected withdrawal of Arnold and Phillips is not approved. This is dated May 2, 1781. In the second letter, also from Germain, Clinton is advised that the French fleet will sail to America, and that Rodney will follow it. This letter is dated July 7, 1781. It is not stated whether Clinton ever received these notes. If he did receive them, he certainly must have felt obliged to continue the war in the South.
In the Fifth Report of the Commission on Hist. MSS. (p. 235) there are three letters written by "Sir H. Crosby" and "Sir H. C.", which the editor takes to stand for Sir H. Crosby. At least one was written by Clinton, and the probability is that all were written by him. The first (N. Y., July 18, 1781) relates to the proceedings of Cornwallis, and gives a statement of the troops under some of the British generals in America, and an estimate of the number of French troops which Washington has within call. The third (to G. G., dated Dec., 1781) is plainly the work of Clinton, as the author says that, from the tone of Cornwallis's letter of Oct. 20 (his official report), it might be supposed that the author was to blame for the selection of the post at Yorktown. In the last, also written in December, 1781, the writer attributes the disaster to the want of promised naval supremacy under Sir G. Rodney. He also gives Cornwallis's explanation of the passages complained of in his report. Cf. also Jones's New York during the Rev. War, ii., notes to pp. 464-470, where the editor gives extracts from Clinton's annotations of a copy of Stedman's American War. S. H. Gay (N. Am. Rev., Oct., 1881) follows Cornwallis's movements previous to his fortifying at Yorktown.
[1200] On this subject see also Clinton's Observations on Stedman, p. 16.
[1201] London Gazette, Dec. 15. Among the more accessible books containing it are Remembrancer, xiii. 37; Johnston's Yorktown, 181; Tarleton, p. 427; Lee, Memoirs (2d ed.), App. p. 457; R. E. Lee's ed., 610, etc.
[1202] Clinton to Cornwallis, Sept. 6, 1781, in Parl. Reg., xxv. 189. Clinton also described his endeavors in a letter to Germain in Remembrancer, xiii. 57.
[1203] Cf. Two Letters respecting the conduct of Rear Admiral Graves on the coast of the United States, July-November, 1781, by William Graves, Esq. Edited by H. B. Dawson, 1865. The original was privately printed. Dawson says "the present edition is as perfect a fac-simile of the original as can now be made."
[1204] Remembrancer, xiii. 515, while a letter from Cornwallis to Washington respecting the form of parole is in Cornwallis Correspondence, i. 126.
[1205] Fifth Report of Royal Commission on Hist. MSS., p. 235 (Lansdown MSS.).
[1206] Memoirs, ii. 434, copied in Niles's Principles, etc. (ed. 1876). For effect of the news in England, see Mag. of Amer. Hist., Nov., 1881, p. 363; and John Fiske on the political consequences, in Atlantic Monthly, Jan., 1886. The papers laid before Parliament are in the Polit. Mag., iii. 339. Cf. also Walpole's Last Journals, ii. 474; Donne's Corresp. of George III., etc., ii. 390; Macknight's Burke, ii. 457, etc. For the effect in Europe generally, see Parton's Franklin, ii. 452; Hale's Franklin in France, p. 464.—Ed.
[1207] Cf. also two valuable letters written during the siege from Washington to Heath, who commanded on the Hudson, in 5 Mass. Hist. Soc. Coll., iv. 224 et seq. We note two early tables of the prisoners taken, one in the Meshech Weare papers in the Mass. Hist. Soc. library, and the other in the Sparks MSS., xlix. vol. iii. The vote of thanks given by Congress to Washington, with his reply, is in Journals of Congress, iii. 694. Washington's epaulettes worn at the time are in the Mass. Hist. Soc. (Proc., iii. 133). For "Cornwallis Burgoyned", see Moore's Songs and Ballads, 367.—Ed.
[1208] Orderly-book of the Siege of Yorktown, from September 26th, 1781, to November 2d, 1781 (Philad., 1865), being Revolutionary series, no. 1, published by Horace W. Smith.
[1209] Lincoln's MS. orderly-book is in possession of Mr. Crosby, of Hingham, Mass. Johnston (Yorktown, p. 91, note) gives an order of Lincoln's as copied from the Lamb MSS. An orderly-book of General Gist belongs to the Maryland Hist. Soc. An Orderly-Book of the Second Battalion of the Penna. Troops before Yorktown is in Egle's Notes and Queries, 145-156. It runs, however, only to Sept. 14th. See also Feltman to Lieutenant Johnston, dated Yorktown, Oct. 10, 1781, in Egle (p. 132). There is a Journal of the Campaign by Lieutenant William Feltman, May, 1781-April, 1782 (Penn. Hist. Soc. Coll., 1853, and Penna. Archives, 2d ser., vol. xi.); and a Journal of the Siege of York in Virginia, by a chaplain of the American Army (Mass. Hist. Soc. Coll., iv. 102-108). From a reference in Thacher's Journal, Johnston (Yorktown, App., p. 196) infers that the latter appears to have been the work of Chaplain Evans, of Scammell's corps. A portion of the Military Journal of Major Ebenezer Denny relates to this siege (Penn. Hist. Soc. Mem., vii. 237-249). Another valuable journal is the one kept by Capt. John Davis, of the Pennsylvania line (Westchester Village Record, 1821, and Principles and Acts of the Revolution, 1st ed., p. 465, and 2d ed., p. 293, and entire from May 26, 1781, to June 10, 1782, in Penna. Hist. Mag., v. 290-311; vii. 339). Other journals are Notes of the Siege of Yorktown, by Dayton, in New Jersey Hist. Soc. Proc., ix.-x. 187; Colonel Tilghman's Diary of the Siege of Yorktown in Appendix to Memoir of Tench Tilghman; Journal of the Siege of Yorktown, by Col. Richard Butler, in Hist. Mag., viii. 102; Extract from the Journal of a Chaplain in the American Army—Sept. 12-Oct. 22, 1781—in Potter's American Monthly, v. 744; Journal of Colonel Jonathan Trumbull in Mass. Hist. Soc. Proc. (April, 1876), vol. xiv. 331; Thacher's Military Journal, pp. 334-351; "Siege of York and Gloucester" in American Museum, June, 1787,—reprinted in Mag. of Amer. Hist., vii. 222-224; an anonymous journal in Martin's Gazetteer of Virginia, pp. 293-295; and a Diary of the March from the Hudson to Yorktown and return, by Lieutenant Saunderson, of the Connecticut line, in Johnston's Yorktown, p. 170,—the original being in that author's possession. The diary of David Cobb, Oct.-Nov., 1781, is in Mass. Hist. Soc. Proc., Oct., 1881, p. 67. A journal of Henry Dearborn, ending Nov. 24, 1781, is owned by Dr. T. A. Emmet, of N. Y., having been bought in the J. W. Thornton sale, no. 284. See also letters from Governor Nelson to various persons in the "Nelson Papers" (no. 1 of the New Series of the Publications of the Virginia Historical Society). There are other letters in the Va. Hist. Reg., ii. 34; v. 157; Drake's Knox, 69, etc.
[1210] It is entitled Journal of the Operations of the French Corps under the command of Count Rochambeau (Remembrancer, xiii. 35, and Pol. Mag., ii. 707). Portions are also in Tarleton's Campaigns, 443, taken, probably, from a diary which was afterwards printed in the Paris Gazette, Nov. 20, 1781, as Journal des Opérations du Corps Français sous le commandement du Comte de Rochambeau; also found in Two Letters respecting the conduct of Rear Admiral Graves, pp. 31, 32, and translated by Dawson, pp. 38, 39. Another translation, Substance of a French Journal from the Supplement to the Gazette de France of Nov. 20, 1781, is reprinted in the Mag. Am. Hist., vii. 224, from Pennsylvania Packet of Feb. 21, 1782. See also the account in Rochambeau's Mémoires, i. 289-302; Wright's translation of above, 65-80; Soulés, Troubles, iii. 369-378, and 386-398,—attributed to Rochambeau; and Lauzun, Mémoires, 194-205.
[1211] No. 1,886 in his sale catalogue.
[1212] The Magazine of American History contains two other journals which really formed a part of this diary, and were written by M. de Ménonville (vii. p 283-288), and by "the engineers" (vii. 449-452).
[1213] The original Journal de Campagne de Claude Blanchard, ed. by Maurice La Chesnais, was published in Paris, 1869.
[1214] My Campaigns in America. A Journal kept by Count William de Deux-Ponts, 1780-81. Translated from the French Manuscript, with an Introduction by S. A. Green, Boston, 1868. The original and translation are here printed successively. Dr. S. A. Green came upon this valuable manuscript by chance while in Paris.
[1215] At a later day it was charged that Lafayette had ordered the garrison of the small redoubt to be put to the sword in revenge for the murder of Alexander Scammell. Of course the charge was false. It led to a correspondence between Lafayette and Hamilton. Cf. Mag. of Amer. Hist., vii. 363 et seq., and Hamilton's Works, vi. 555. Lafayette's narrative, as he gave it to Sparks, is in the Sparks MSS., no. xxxii.
[1216] Ramsay, Rev. in S. C., ii. 317; Gordon, iv. 175; Stedman, ii.; Lee, Memoirs (2d ed., p. 307). Lee was present during the siege as the bearer of despatches from Greene, or for some other reason.
[1217] The Yorktown Campaign and the Surrender of Cornwallis, 1781 (N. Y., 1881). Johnston also printed an article in Harper's Monthly, lxiii. 323.
[1218] Yorktown, an Account of the Campaign (N. Y., 1882). See also, by the same author, The Campaign of the Allies in Mag. of Amer. Hist., vii. 241.
[1219] Drake's Knox, 62; Hamilton's Hamilton, ii. 256-275; Leake's Lamb, 276; Williams's Olney, 266; Custis's Recollections, 229; Kapp's Steuben, 453, etc., with the diary of an Anspach sergeant. Cf. Balch, p. 14, for references to another diary of a German.
[1220] See J. A. Stevens, The Allies at Yorktown in Mag. of Amer. Hist., vi. 1; Page, Old Yorktown in Scribner's Mag., xxii. 801; Goldwin Smith, Naseby and Yorktown in Contem. Rev., Nov., 1881; Mag. of Amer. Hist., Dec., 1881,—a collection of newspaper scraps, some of value; E. M. Stone's French Allies, 416; E. E. Hale in Amer. Antiq. Soc. Proc., Oct., 1881; Penna. Mag. of Hist., v. 290; W. S. Stryker's New Jersey Continental Line in the Virginia Campaign of 1781 (Trenton, 1882); Longchamps, Histoire Impartiale, iii. 129; Robin, Nouveau Voyage, 29; Le Boucher, ii. 26; Chotteau, 267; Regnault's Lafayette, 199,—not good for much; Tarleton's Campaigns, 351; Clinton, Observations on Stedman, 22; Beatson's Memoirs, v. 271; Memoir of General Samuel Graham, 55; Grant's British Battles, 173; Botta, Otis's trans., iii. 374. Lamb's Journal, p. 370 et seq., is of considerable interest, especially the portion narrating his escape and subsequent recapture. See also Capt. William Mure to Andrew Stuart, dated Yorktown, Oct. 21, 1781, in Mahon's Hist. of England, vol. vii. App. xxxviii. There is in the Boston Public Library a MS. orderly-book of the troops under Lord Cornwallis, dated Williamsburgh, 28 June, 1781, to Yorktown, 19 October, 1781, and made up by several officers. The generally received account of the reception of the news in England is probably not correct. Cf. Stockbridge in Mag. of Amer. Hist., vii. 321.
[1221] The official account of the recent celebration at Yorktown is called a Report of the Commission for a monument commemorative of the Surrender of Lord Cornwallis (Wash., 1883). This contains Robert C. Winthrop's oration, which has also been separately printed. Another notable address was by the Hon. J. L. M. Curry, delivered at Richmond and published. A French account of this anniversary, Yorktown Centénaire de l'indépendance des Etats-Unis d'Amérique, 1781-1881 (Paris, 1886), is the work of Rochambeau's descendant. Cf. Stone's French Allies, 535; Mag. of Amer. Hist., vii. 302; Mass. Hist. Soc. Proc., xix. 101. Another volume called forth by the same celebration is An Account of General Lafayette's Visit to Virginia in 1824-25, by Robert D. Ward, Richmond, 1881.
[1222] Liverpool.
[1223] Yet in 1668-9 the colony of Massachusetts had sent a ship-load of masts to Charles II.; and at the end of the century, Bellomont, in one of his despatches home, says that from the port of Boston there sailed more vessels built in New England than belonged to all Scotland and Ireland. Bellomont urged on the home government the importance of making in America their own tar and pitch. New Hampshire was already sending masts, yards, and bowsprits to England, and Bellomont shows the government how they could save by carrying them for themselves. This was in 1700 and 1701.
[1224] Cf. "Ships of the Eighteenth Century", by Admiral Preble, in United Service, x. 95, 117.—Ed.
[1225] On the capture of the "Margaretta" at Machias, see Kidder's Military Operations in Eastern Maine, p. 39; Maine Hist. Soc. Coll., ii. 142; Hist. Mag., xiii. 251; Com. F. H. Parker in the Mag. of Amer. Hist. i. 209; Drisko's Life of Hannah Weston (Machias, 1857), ch. vii. Cf. also Journal of Mass. Prov. Cong. (Boston, 1838), pp. 395-96. The account in Dawson's Battles (i. 47) is based on Goldsborough's Naval Chronicle and Cooper's Naval History.—Ed.
[1226] The steps leading to this action of Washington, who felt authorized to take it by giving a liberal interpretation to his commission, were these: As early as June 7, 1775, the Massachusetts legislature had considered the question of creating a naval force, but moved cautiously (Frothingham's Siege of Boston, p. 111). Rhode Island moved first, June 12th, and put two vessels in commission under Abraham and Christopher Whipple, and in July they were cruising. (On this and other early movements in Rhode Island, see Arnold's Rhode Island, ii. 351, 363, 369, 386; Staples's Annals of Providence, pp. 265-70; R. I. Hist. Coll., vol. vi.; Gammell's Life of Samuel Ward; and Ward's journal in Sparks MSS., lxviii. no. 7.) By July 1st Connecticut had begun to move. Washington's first commission was given to Capt. Nicholas Broughton, of Marblehead, accompanied by instructions, which are given in Sparks's Washington, iii. 517, when he took command of the "Hannah" (Frothingham's Siege of Boston, 260). John Adams says (Works, x. 27; Letters of Washington to John Langdon, 1880, p. 19) it was John Manly's application to Washington for authority to fit out a cruiser that led directly to this step, and that Manly was the first to fly a Continental flag, and to have a British flag struck to him.
For the early navy of Pennsylvania, see Wallace's William Bradford, p. 130, and in the Appendix of the same work we have an account of the first naval combat on the Delaware, and the first hostile guns heard by Congress, when the "Roebuck" and "Liverpool" were driven down the river by the American flotilla.
On the early movements in Virginia, see Va. Hist. Reg., i. 185; Southern Lit. Messenger, xxiv. 1-273.—Ed.
[1227] Hancock's letter of instructions, October 5, 1775, is in Sparks's Correspondence of the American Revolution, i. 56. Cf. John Adams's Works, i. 187; x. 31.—Ed.
[1228] Selman's own account of this exploit has been printed in the Salem Gazette, July 22, 1856. Cf. Sparks's Writings of Washington, iii. 193.—Ed.
[1229] "Lord Amherst laments the capture of the ordnance vessel,—says her cargo amounted to £10,500. The Board is censured for not putting her stores into a vessel of greater force." Hutchinson's Diary (July 10). Manly continued to gain and deserve the commendation of Washington (Sparks's Washington, iii. 266, 271). For an account of Manly's being driven into Plymouth, see Mass. Hist. Soc. Proc. 2d ser., ii. 158.—Ed.
[1230] Rhode Island, as she had put the first armed vessel afloat, was also the inciter of the movements in Congress which resulted in this fleet, her members, in Oct., 1775, having urged action (4 Force, iv. 1838). John Adams gives on the successive stages of the movement (Works, ii. 463, iii. 7. Cf. Gammell's Ward, 316, and the Journal of Congress, 1775). A naval committee was instituted Oct. 13th, and in December it was enlarged, to have a member for each colony. John Adams tells on his labors on this committee were the most agreeable he had in Congress; and he always took great credit to himself for being mainly instrumental in committing Congress to naval policy (Works, ix. 363, Familiar Letters, 166), and it was he who drew up the Rules of the naval service (Works, iii. p. 11; Journal of Congress, 1775, p. 282). In tracing the official action of Congress towards the navy, beside the Journals, use the index of Ben: Perley Poore's Descriptive Catal. of Government Publications; the indexes to the Amer. Archives, under such heads as "armed vessels", "fleet", "Mass. armed vessels", "marine committee", "navy", "privateers", "prizes", "row galleys", "seamen", "vessels", and the names of naval characters. The incongruous character of Force's indexes increases the labor considerably in using the Archives.
The beginnings of the navy, beside being followed in Cooper, Clark, etc., can be traced in W. E. Foster's Stephen Hopkins, ii. App. M; in Bancroft, ix. 134, or final revision, v. 50 in Silas Deane's correspondence in Conn. Hist. Soc. Coll., ii. Washington ceased to exercise any supervision over the armed fleet after the evacuation of Boston in March, 1776. General Ward, who was then left in command in Boston, commissioned Captain Mugford to cruise, June, 1776, before he received any blank commissions from Congress. Mass. Hist. Soc. Proc., i. 203.
In 1775 David Bushnell invented at Saybrook a machine for blowing up the enemy's vessels, called the "American Turtle." It is described in the Conn. Soc. Coll., ii. 315, 322, 333, with references.—Ed.
[1231] Sparks's Washington, i. 36; iii. 77. There is a memoir of Whipple, with a portrait (cf. also E. M. Stone's Our French Allies, p. 26), in Hildreth's Pioneer Settlers of Ohio (1852), pp. 120-164. There are letters of Whipple among the Com. Tucker Papers in Harvard College library. Few of the earlier captains made more captures than Samuel Tucker. Washington commissioned him in Jan., 1776. His reputation as a naval officer was mostly made during his command of the frigate "Boston", in one of whose voyages he took John Adams to France in 1778. The log of this voyage is preserved in Harvard College library, where are also a collection of Tucker's papers, embracing his instructions, correspondence, and logs. They have been used in John H. Sheppard's Life of Samuel Tucker (Boston, 1868), which is abridged by the author in the N. E. Hist. and Geneal. Reg., April, 1872 (xxvi. 105). Cf. New Eng. Mag., ii. 138; Niles's Register, xliv. 140; and Johnston's History of Bristol and Bremen, Me.—Ed.
[1232] See note at the end of this chapter.
[1233] On the fisheries as a school for the navy of the Revolution, see Lorenzo Sabine's Report on the Fisheries of the U. S. (Washington, 1853), p. 198, and Babson's Gloucester. The histories of the maritime towns of Massachusetts touch this point, like Rich's Truro, Roads's Marblehead, E. V. Smith's Newburyport, etc.—Ed.
[1234] Cf. ante, ch. ii.
[1235] Adams's Familiar Letters, 186. The continued naval exploits of Seth Harding and Samuel Smedley, of the Connecticut armed vessels, are recorded in sundry letters in the Trumbull Papers (MSS.), vol. v., etc.—Ed.
[1236] Journals of Congress, i. 213.
[1237] Cf. Sparks's Washington, iii. 353; John Adams's Works, iii. 65. Bancroft, in his orig. ed., ix. 134, charges Hopkins with incompetency, but omits the accusation in his final revision, v. 50.—Ed.
[1238] Cf. United Service, xii. 411.
[1239] American Archives, ii. 1394.
[1240] There is a portrait of Biddle in the Pennsylvania Hist. Soc. gallery. Catal. of Paintings, no. 138.
[1241] The government of South Carolina gave him four war-vessels of their own, and early in 1778 he went out to meet the English blockading squadron of four vessels, hoping to find himself of superior force to them. He did not meet the squadron, but east of the Barbadoes, on the 7th of March, he did meet the "Yarmouth", sixty-four guns, and, apparently relying on the four small vessels he had with him, he bravely engaged her. But after an action of twenty minutes the "Randolph" blew up, nor was it until five days after that a part of her crew were picked up by the "Yarmouth" on a piece of the wreck. The other vessels of Biddle's squadron escaped.
[1242] The reader will be interested in his own simple account of the voyage, as contained in his report to Franklin and the other commissioners. We print it from his manuscript as a good illustration of the straightforward loyalty of the man.
Port Lewis, Feb'y 14th, 1777.
Gentlemen,—This will inform you of my safe arrival after a tolerable successful cruise, having captured 3 sail of Brigs, one snow, and one ship. The Snow is a Falmouth Packet bound from thence to Lisbon. She is mounted with 16 guns and had near 50 men on board. She engaged near an hour before she struck. I had one man killed. My first Lieut. had his left arm shot off above the elbow, and the Lieut. of Marines had a musquet ball lodged in his wrist. They had several men wounded, but none killed. I am in great hopes that both my wounded officers will do well, as there are no unfavorable symptoms at present. Three of our Prizes are arrived, and I expect the other two in to-morrow. As I am informed that there has been two American Private ships of war lately taken and carried into England, I think it would be a good opportunity to negotiate and exchange prisoners, if it could be done; but I submit to your better judgment to act as you think proper. I should be very glad to hear from you as soon as possible, and should be much obliged if you would point out some line or mode to proceed by in disposing of prisoners and prizes, as nothing will be done before I receive your answer to this. I hope you'll excuse my being more particular at present.
From, Gentlemen,
Your most obliged h'ble serv't,
Lamb't Wickes.
[1243] "This will inform you", he writes on the 12th of August, "of my present unhappy situation. The Judges of the Admiralty have received orders of the 6th inst. from the Minister at Paris, ordering them not to suffer me to take any cannon, powder, or other military stores on board, or to depart from this port on any consideration whatever, without further orders from Paris. In consequence of these orders, they came on board on Saturday to take all my cannon out and to unhang my rudder. I have prevented this for the present by refusing to let them take rudder or cannon without producing an order from the minister for so doing. As I told them, my orders corresponded with theirs in regard to continuing in port, but I had no order to deliver anything belonging to the ship to them, which I would not do without orders, and if the ministers insisted on it, made no doubt but you would give your orders accordingly, which would be readily complied with on my part when such orders were received. My powder is stopped, and they have been contented with taking my written parole not to depart until I receive their permission."
[1244] On the questions arising from the carrying of prisoners by the American cruisers into European ports, see Hale's Franklin in France, ch. xi. and xviii. On American prisoners in England, see Mag. of Amer. Hist., June, '82, p. 428; Memoirs of Andrew Sherburne, p. 81; occupants of Old Mill prison, near Plymouth, N. E. Hist. and Gen. Reg., 1865, pp. 74, 136, 209; occupants of Forton, and journal of Timothy Connor in Ibid., xxx. 3, 175, 343; xxxi. 18, 212, 288; xxxii, 70, 165, 280; xxiii. 36; journal of Samuel Custer, etc., Ibid., Jan., 1878; Charles Herbert's Relics of the Rev., Amer. prisoners in England (Boston, 1847), with lists of names and the edition of 1854, called The Prisoners of 1776, compiled from Herbert's Journal by R. Livesey; narratives in Moore's Diary, ii. 344, 437. In 1780 there was reprinted in London, to be sold for the benefit of the American prisoners then in England, a Poetical Epistle to George Washington, by the Rev. Charles Perry Wharton of Maryland, which had been originally printed in Annapolis in 1779. There was prefixed to it an unusual portrait of Washington, "engraved by W. Sharp from an original picture."
Perhaps the most distinguished of the Americans confined in the English prisons was Joshua Barney, and the story of his several confinements and escapes is told in A Biographical Memoir of the late Commodore Joshua Barney, from autobiographical notes and journals in the possession of his family, by Mary Barney (Boston, 1832). Cf. Lossing in Field-Book, ii. 850; Harper's Monthly, xxiv. 161; Cyclop. U. S. Hist., i. 105—Ed.
[1245] Almon's Remembrancer.
[1246] Landais survived until the year 1818, when he died at the age of eighty-seven years, in the city of New York.
[1247] See Hutchinson's Diary, at the date of D'Estaing's sailing.
[1248] See Notes, following this chapter.
[1249] It is printed in Franklin in France.
[1250] For accounts of Barry, see Dennie's Portfolio, x.; United Service Mag. (xii. 578), May, 1885, by Admiral Preble; Lossing's Field-Book, ii. 847; Scharf and Westcott's Philadelphia, i. 304. The narrative of Luke Matthewman, one of Barry's lieutenants, is in the Mag. of Amer. Hist., ii. 175, copied from the N. Y. Packet, 1783.—Ed.
[1251] A MS. journal of a cruise on board the brigantine of war "Tyrannicide", in the service of the State of Massachusetts Bay, John Allen Hallet commander, in 1778, is in the Boston Public Library.—Ed.
[1252] The log of the "Protector" is in the library of the N. E. Hist. Geneal. Society. Cf. Ebenezer Fox's Revolutionary Adventures (Boston, 1838); Mem. Hist. Boston, iii. 187.—Ed.
[1253] The following is an official list, sent to Franklin in March, 1780, of the navy of the United States at that time:—
"America" (74 guns), Captain John Barry, on the stocks at Portsmouth, N. H.
"Confederacy" (36 guns), Seth Harding, refitting at Martinico.
"Alliance" (36 guns), Paul Jones, in France.
"Bourbon" (36 guns), Thomas Read, on the stocks in Connecticut.
"Trumbull" (28 guns), James Nicholson, ready for sea in Connecticut.
"Deane" (28 guns), Sam'l Nicholson, on a cruise.
"Providence" (28 guns), Ab'm Whipple; "Boston" (28 guns), Sam'l Tucker; "Queen of France" (20 guns), I. Rathbourne; "Ranger" (18 guns), S. Sampson,—within the Bar at Charleston, S. C., to defend that harbor.
"Saratoga" (18 guns), J. Young, on the stocks at Philadelphia.
Cf. Sparks MSS., xlix. vol. iii.
[1254] See chap. vi.
[1255] The table on a later page shows that there were nearly 90,000 Continentals and militia on the rolls at different times during 1776; but it is not probable that 70,000 were in service at any single time, and the terms of service were short.—Ed.
[1256] There is a curious difficulty as to the name of this little vessel. In printed histories she is sometimes called the "Penet" and sometimes the "Perch." There is no question that the State owned a vessel called the "Penet", which was named from one of the mercantile agents in Nantes. But, after a careful examination of the manuscript of the journals of Mr. Austin, who carried the news, we are satisfied that the vessel was the "Perch", and that she is called the "Penet" in some of the manuscripts only from an error of the early copyists.
[1257] A third edition was printed at Cooperstown in 1848. Editions with revisions and additions were issued at New York in 1853 and 1856, use being made in part of matter collected by Cooper himself. An abridged edition was published in New York in 1856. There were other editions in London, Paris, and Brussels. Cooper's Lives of distinguished Naval Officers (Philad., 1846) includes only Paul Jones of the Revolutionary period.
[1258] Second ed., London, 1866. The first ed. was in 1863.
[1259] There are a few accessory books: J. Rolfe's Naval Biography during the Reign of George III. (London, 1828, in two volumes,—Sabin, xvi. 67,601). The Detail of some particular services performed in America during the years 1776-1779 (printed for Ithiel Town, N. Y., 1835,—Sabin, v. 19,775) had previously appeared in The Naval Chronicle, and consists, in the main, of a journal supposed to be kept on board his Majesty's ship "Rainbow", while under the command of Sir George Collier, on the American coast. Town says that the book was privately printed from a manuscript obtained by him in London in 1830, and it is said that all but seventy copies were destroyed by fire. There is a copy in Harvard College library, and others are noted in the Brinley (no. 4,002) and Cooke (no. 708) sales.
John Adams sent to Congress in 1780 an account of the naval losses of Great Britain from the beginning of the war (Diplom. Corresp., iv. 483, v. 234). A similar statement (1776-1781) on the British side is in the Political Magazine, ii. 452.
[1260] In January, 1763, peremptory orders were sent from England to the governor and company of Connecticut to put a stop to the Susquehanna settlement. In September of the same year, Governor Fitch wrote to the board of trade that he had strictly obeyed the orders; that a delegation from the Six Nations had been received, and in the presence of the assembly he had announced the commands of his majesty; that this had apparently satisfied the natives. (Trumbull MSS., Mass. Hist. Soc.)
[1261] In Proud's History of Pennsylvania, ii. p. 326, there is a note containing an extract from an "authentic publication", entitled A narrative of the late massacres in Lancaster County, of a member of Indians, friends of this Province (Philadelphia, 1764). In this narrative (which was written by Franklin,—cf. Sparks's Franklin, i. 273; iv. 56), religious enthusiasm, "chiefly Presbyterian", is the alleged motive for the outbreak. See, also, a reprint of a curious pamphlet on the massacre of the Conestogoe Indians by the Paxton Boys, in the Hist. Mag., July, 1865, p. 203. For other tracts see Carter-Brown Catal., iii. 1,407-1,415; Field's Indian Bibliog., nos. 854, 1,187, 1,193, 1,331; Brinley Catal., nos. 3,062-3,070; Hildeburn's Penna. Press, ii. nos. 2,029-2,034; cf. Penna. Hist. Soc. Coll., i. 73; Zeisberger, by Schweinitz, 274; Graydon's Memoirs, 49; and letter of Richard Peters in Aspinwall Papers, ii. 508.—Ed.
[1262] In Reed's Reed, i. p. 35, there is a letter from Dr. John Ewing, coolly discussing this transaction, as if it were a laudable attempt on the part of the frontier inhabitants to relieve themselves in a perfectly justifiable way from a source of danger. He says, "there was not a single act of violence, unless you call the Lancaster affair such, although it was no more than going to war with that tribe."
[1263] The Conestogoes belonged to the Five Nations, but had no connection with the Tuscaroras. The Five Nations put in a claim for the land of the Conestogoes, as "their relations and next heirs." (Sir William Johnson to Governor Penn, Feb. 9, 1764, Penna. Archives, iv. p. 162.)
[1264] His correspondence with Gage is in the Doc. Hist. N. Y., ii. 833 et seq.
[1265] The question of the rights of Indian women in lands of the tribes forms part of the discussion in the paper by Lucien Carr, entitled "The social and political condition of women among the Huron-Iroquois tribes." (Report xvi. of the Peabody Museum, pp. 216-218.) Instances are on record where transfers were compelled by the women in opposition to the wishes of the chiefs, and where they prevented sales, the terms of which had been arranged by the men. At the conference at Canajoharie Castle in 1763, where the Mohawks submitted one of their numerous complaints against settlers for stealing their lands, all the women present interrupted the speaker, and declared that they "did not choose to part with their lands and be reduced to make brooms for a living." The fraudulent transfers alluded to in the text had already attracted the attention of the authorities. By proclamation, dated October 7, 1763, the king had forbidden private individuals to purchase land from Indians.
[1266] "After the peace, numbers of the frontier inhabitants of Pennsylvania, Maryland, Virginia, etc., animated with a spirit of frenzy, under pretext of revenge for past injuries, though in manifest violation of British faith and the strength of the late treaties, robbed and murdered sundry Indians of good character, and still continue to do so, vowing vengeance against all that come in their way; whilst others forcibly established themselves beyond even the limits of their own governments in the Indian country."
[1267] At this date the Mohawk Valley, as far west as the boundary line, was jointly occupied by the whites and the Mohawk tribe. Immediately to the west of that line, in the neighborhood of Oneida Lake, lived the Oneidas. Both Mohawks and Oneidas had extensive hunting-grounds to the north. The Onondagas, Cayugas, and Senecas severally lived upon the lakes which to-day bear the names of those tribes. The Tuscaroras occupied land which had been allotted them immediately to the south of the Oneida country, and had also a section on the Susquehanna. [See Colden's map in Vol. IV. 491, and the maps in Vol. III. 281, 293.—Ed.] The whole number of the confederacy did not exceed 10,000 souls, of whom 2,000 were warriors, more than one half being Senecas. The most conspicuous tribe among the Ohio Indians was the Shawanese. They were a source of terror to the Virginia settlers, and had a hand in most of the invasions of Kentucky, Virginia, and Pennsylvania. They numbered about 300 warriors, and lived in Ohio on the Scioto and its branches. The Delawares, counting 600 warriors, were scattered from the Susquehanna Valley to Lake Erie; 200 Wyandots lived near Sandusky. These and other tribes living on the border or in Canada, who were classified as allies of the Six Nations, numbered in all about 2,000 warriors. The other tribes living east of the Mississippi and north of the Ohio, with whom the British had dealings, or of whom they had knowledge, were classified as the "Ottawa Confederacy, comprehending the Twightwees or Miamis", and numbered about 8,000 warriors, of whom 3,000 lived near Detroit. In all, there were, according to this estimate, which is from Sir William Johnson's papers, about 12,000 warriors. [See Sketch map in Vol. IV. 298.—Ed.]
A similar computation of the "gun-men or effectives" in the South, made by Sir James Wright in 1773, shows that over 9,500 men could be furnished by the Choctaws, Creeks, Cherokees, and Catawbas. From other sources we have estimates which include tribes omitted by the above authorities, from which it would appear probable that there were about 35,000 warriors east of the Mississippi, in the United States and across the straits at Detroit. There is a difference of opinion as to the proportion of warriors to the total population. Apparently the proportion varied in different tribes. Some observers have placed the number as high as six to one; others, as low as three to one. Between four and five to one appears to be about the number furnished by the averages of the best observers. This will give for a total Indian population east of the Mississippi, in the United States and along the lakes near Detroit, at the beginning of the Revolutionary War, 150,000 persons.
[1268] "My intelligence informs me", wrote Governor Penn to Lord Dunmore, March 1, 1775, "that your lordship has set up an office for granting lands far within the limits of this province, and that lands already patented by me have been granted by your lordship."
[1269] Guy Johnson refers to the success of his interference on this occasion in his letter to the magistrates and others of Palatine, Canajoharie, and the upper districts, dated May 20, 1775, quoted in Stone's Brant, i. p. 65.
[1270] Accustomed as the inhabitants of the Northern colonies had been to coöperating with Indians in the several wars with the French, the proposition to make use of their services did not excite the universal feeling of horror which would be aroused by the same proposition to-day. On the contrary, it was regarded as a natural and inevitable condition attached to the war that the natives should be engaged upon the one side or the other; and rumors of the friendly disposition of this tribe, and of the number of warriors which that tribe would furnish to the cause, found their way into the journals of that day. It was evident that Indian auxiliaries would be of greater military value to the English than to the Americans. The English army would be practically an army of invasion. There were no English homes exposed to destruction. The use of savages by the Americans would not keep out of the field a single Englishman for the protection of the scalps of his family. Nevertheless, it was felt by the colonists that all the tribes that could be secured would be an advantage gained. Such evidently was the opinion of the men composing the Provincial Congress of Massachusetts Bay, who first met the question, and, even before the battle of Lexington, solved it by employing some of the Stockbridge Indians as minute-men. The records of that body go far towards justifying the statement made by Gen. Gage at Boston (June 12, 1775), that the "rebels" were "bringing as many Indians down here as they could collect."
[1271] In this letter to Kirkland the assertion is made that the step was taken because of information received that "those who are inimical to us in Canada have been tampering with the natives." In the American Archives, 4th series, ii. p. 244, is a letter dated Montreal, March 29th, from J. Brown to Samuel Adams and Joseph Warren, Committee of Correspondence of Boston, in which Brown's mission is betrayed even without his credentials. He was prospecting the ground with a view to future operations. He reports that "the Indians say they have been repeatedly applied to and requested to join with the king's troops to fight Boston, but have peremptorily refused, and still intend to refuse. They are a simple politick people, and say that if they are obliged, for their own safety, to take up arms on either side, they shall take part on the side of their brethren the English in New-England." In the same letter Brown states as a secret that Ticonderoga must be seized on the beginning of hostilities. Samuel Adams, one of the committee to whom Brown's letter was addressed, was also a member of the committee which drafted the letter to Kirkland. If Brown's letter did not reach Adams in time to inspire the suggestion of "tampering", it indicates at least the character of the rumors. The English writers (like Mahon, vi. 35) look upon the plea of "tampering" as a pretence; and Dartmouth, in July and August, 1775, called his orders retaliatory ones. We know that there was little for the colonists to apprehend from Carleton on this score. His opposition to the enlistment of Indians for service outside Canada drew forth complaints afterward from Guy Johnson (N. Y. Col. Docs., viii. p. 636). Still less was there cause for apprehension if the Caughnawagas were going to take sides with the colonists. It was probably understood that the statements of these Canadian Indians could not be implicitly relied upon.
[1272] The enlisted Indians are occasionally heard from during the war, although their services were not conspicuous. Their fondness for liquor soon brought them into trouble, and we find that a petition signed by seventeen of them was presented to the Provincial Congress, asking that liquor might be kept out of their way. This petition was duly granted. (Am. Arch., 4th ser., ii. pp. 1049 and 1083.) During the siege of Boston they occasionally killed a sentry (The Boston Gazette and Country Journal, Aug. 7, 1775; Frothingham's Siege of Boston, pp. 212, 213). In Mass. Archives, vol. lvi. (special title, "Coat Rolls, 8 Months' Service, 1775—vol. i. Rolls"), no. 173, is a copy of what purports to be an order for bounty money, etc., signed by thirty-two persons. Appended is the following: "Camp at Charlestown, March 12, 1776. This may certify that the within named persons were soldiers in my Regiment, and served as such in the service of this province last summer, until they were discharged by his Excellency Gen. Washington. Attest, John Paterson, Col. These Indians belonged to Capt. William Goodrich's Company. Attest, John Sargent." Some of them, under the command of Captain Ezra Whittlesey, were "posted at the saw-mills", Sept. 13, 1776 (Amer. Arch., 5th series, ii. p. 476). If Guy Johnson is to be believed, there were enlisted Indians in the battle of Long island, and some of them were taken prisoners (N. Y. Coll. Doc., viii. p. 740). Washington applied for them for scouting service, Oct. 18, 1776 (Amer. Arch., 5th series, ii. p. 1120); Jones (Annals of Oneida County, p. 854) says that a considerable party of Oneidas participated in the battle of White Plains, and that a full company of Stockbridge Indians, under Captain Daniel Ninham, went to White Plains (Ibid. p. 888). A capture by Indians of six prisoners is reported in Moore's Diary, etc., i. p. 476. The Stockbridge Indians were ambuscaded at King's Bridge with severe loss, Aug. 31, 1778. (Mag. Am. Hist., v. p. 187.) In 1819, the survivors of this tribe, petitioning the President of the United States for the protection of their rights in certain lands in Indiana, said: "When your parent disowned you as her children, and sent over to this great island many strong warriors to burn your towns, destroy your families, and bring you into captivity, we, of the Muhheakunuks, defended your fathers on the west against the warriors which your parent had sent against you on that side; and we also sent our warriors to join your great chief, Washington, to aid him in driving back into the sea the unnatural monsters who had come up from thence to devour you, and ravage the land which we a long time before granted to your fathers to live upon." (American State Papers—Public Lands, vol. iii., Washington, 1834).
[1273] Kidder's Mil. Operations in Eastern Maine, p. 51.—Ed.
[1274] In Kidder's Expeditions of Captain John Lovewell, it is stated that the petition for guns, blankets, etc., of thirteen Pequakets, who were willing to enlist, was granted by the Provincial Congress of Massachusetts Bay. The date of the petition is not given. For the treaty of July 10, 1776, see Amer. Arch., 5th, i. 835; and the reply of the Micmacs to Washington, Ibid. iii. 800.—Ed.
[1275] On the 24th of May, Ethan Allen addressed a letter to several tribes of the Canadian Indians, asking their warriors to join with his warriors "like brothers, and ambush the regulars." This proceeding he reported to the General Assembly of Connecticut two days afterward. On the 2nd of June, Allen proposed to the Provincial Congress of New York an invasion of Canada, urging as one of the reasons therefor that there would be "this unspeakable advantage: that instead of turning the Canadians and Indians against us, as is wrongly suggested by many, it would unavoidably attach and connect them to our interest." From Newbury, Colonel Bayley, on the 23d of June, addressed the Northern Indians as follows: "If you have a mind to join us, I will go with any number you shall bring to our army, and you shall each have a good coat and blanket, etc., and forty shillings per month, be the time longer or shorter."
In the autumn of 1775, Arnold on his Kennebec march was joined at Sartigan by a number of Indians, to whom he offered "one Portuguese per month, two dollars bounty, their provisions, and the liberty to choose their own officers." Under this inducement they took their canoes and proceeded with the invading column.
[1276] Governor Trumbull, of Connecticut, was in correspondence with Major Brown. Fifteen days after the fall of Ticonderoga the governor wrote to the Provincial Congress of Massachusetts Bay, and, without mentioning his authority, spoke of the "iterated intelligence we receive of the plans framed by our enemies to distress us, by inroads of Canadians and savages from the Province of Quebec upon the adjacent settlements." (Stuart's Trumbull, p. 185.) In a note (Ibid. p. 186) an extract from a letter of Arnold, of the 19th, is given, in which Arnold says that there are "400 regulars at St. Johns, making all possible preparation to cross the lake, and expecting to be joined by a body of Indians, with a design of retaking Crown Point and Ticonderoga." (Cf. also, Arnold, May 23d, from Crown Point, in Jour. Cong., i. 111.) The New Hampshire Provincial Congress, on the 3d of June, 1775, had "undoubted intelligence of the attempts of the British ministry to engage the Canadians and savages in their interest, in the present controversy with America, and by actual movements in Canada." (Sparks's MSS.) On the 6th of July, 1775, Governor Trumbull wrote to General Schuyler, enclosing a statement of a person who had been in Canada, containing the assertion that Governor Carleton "directly solicited the Indians for their assistance, but on their refusal declared he would dispossess them, and give their lands to those who would." July 21, 1775, Schuyler gave Major John Brown a general letter for use in Canada, in which he said: "Reports prevail that General Carleton intends an excursion into these parts; that for that purpose he is raising a body of Canadians and Indians." (Lossing's Schuyler, i. 366.) On Aug. 15th, Brown reported that "Sir John Johnson was at Montreal with a body of about 300 Tories and some Indians, trying to persuade the Caughnawagas to take up the hatchet", etc. (Ibid. p. 380). From the foregoing we can see that Congress had some reason to believe that the English authorities were at work among the Indians. Washington was evidently not convinced of the fact until Schuyler received information of a positive character concerning the Guy Johnson conference at Montreal. On the 24th of December, 1775, he wrote to Schuyler: "The proofs you have of the ministry's intention to engage the savages are incontrovertible. We have other confirmation of it by some despatches from John Stuart, the superintendent for the southern district, which luckily fell into my hands" (Sparks's Washington, iii. p. 209). Congress had not made public its previous sources of information, but it authorized the publication of "the second paragraph in General Schuyler's letter relative to the measures taken by the ministerial agents to engage the Indians in a war with the colonies." Montgomery, at St. John's, had, in September, already met with proofs of the most convincing character, but the presence of the Mohawks there, and their opposition to the American force, does not seem to have made the impression to which it was entitled.
[1277] Secret Journals of Congress, p. 44. Sparks, in his review of the subject, says "After the sanguinary affair at the Cedars ... Congress openly changed their system" (Washington, iii. p. 497). The resolution passed May 25th. Washington was then in Philadelphia. As late as June 9th, he wrote from New York: "I have been much surprised at not receiving a more explicit account of the defeat of Colonel Bedell and his party at the Cedars. I should have thought some of the officers in command would and ought to have transmitted it immediately, but as they have not, it is probable that I should have long remained in doubt as to the event, had not the commissioners called on me to-day." The coincidence of Washington's presence in Philadelphia at the time of the passage of the resolve is more significant than the fact that a battle had been fought of which the general of the army had only just heard two weeks after that date.
[1278] The address to the people of Ireland is dated May 10, 1775, the date of the assembling of Congress. The address was agreed to July 28th. It would be hard to justify the language used, if we accept the nominal date of the instrument as the actual date of its composition. When it was issued, the atrocities committed at the Cedars were still fresh in the minds of the members.
[1279] A note on the opinions of leading men, respecting the employment of Indians, is on a later page. The index (under Indians) to B. P. Poore's Descriptive Catalogue will point to the government publications.—Ed.
[1280] Speeches; also in Niles's Principles (1876), p. 459. Cf. also Burke's Speeches, and the reference in Walpole's Last Journals, ii. 193.—Ed.
[1281] This letter of Dunmore is quoted by Dartmouth. (Am. Arch., 4th, iii. 6.) On the 23d of April, 1779, William Livingston forwarded copy to Congress. It was ordered to be printed (Almon's Remembrancer, viii. p. 278). According to Bancroft, Gage in 1774 asked Carleton his opinion about raising "a body of Canadians and Indians, and for them to form a junction with the king's forces in this province." Carleton, in reply, apparently discouraged the project, saying, "You know what sort of people they [the Indians] are" (Bancroft, vii. pp. 117, 119).
[1282] Guy Johnson was the son-in-law of Sir William Johnson, as well as his successor in office, and the Mohawks said: "The love we have for Sir William Johnson, and the obligations the whole Six Nations are under to him, must make us regard and protect every branch of his family."
[1283] From the best evidence that I can get, I conclude that Ontario and Oswego are one. Stone and Lossing state that there were two conferences. Guy Johnson, in "a brief sketch of his past transactions", refers to but one (N. Y. Col. Doc., viii. 636).
[1284] At a conference between Captain John, in behalf of the Six Nations, and Colonel Butler, of the colony of Connecticut, in 1776, Captain John said: "We come to make you a visit, and let you know we were at the treaty at Oswego with Col. Guy Johnson." "We do now assure you that so long as the waters run, so long you may depend on our friendship. We are all of one mind and are all for peace." (Miner's Wyoming, p. 183.) Under date of Nov. 21, 1774, the following is entered in the records of Harvard College: "As the corporation with pleasure have received information of Mr. Zebulon Butler to engage in a mission to the Tuscarora Indians, they cheerfully signify their readiness to give him all suitable encouragement, as far as may be in their power, if he should proceed according to his intention in so laudable an undertaking." This extract will perhaps explain Col. Butler's influence among the Indians.
[1285] An unsuccessful attempt was made to detach Cameron, Stuart's deputy, from the king's service. He was offered a salary and compensation for losses if he would join the American cause. "He refused to resign his commission or accept of any employment in the colony service." Hearing later that he was to be seized, he fled to the Cherokee country. This alarmed the colonists, but they were quieted when they heard that he had written "that Captain Stewart had never given him orders to induce the Indians to fall upon Carolina, but to keep them firmly attached to his majesty" (Moultrie's Memoirs, i. p. 76). It appears from Stuart's correspondence that he received almost simultaneously, in the first part of October, satisfactory replies from the Indians and orders from General Gage to make use of the natives (Amer. Arch., 4th ser., iv. p. 317). The Catawbas, a relatively insignificant tribe, were said to be friendly to the rebels. The Cherokees were ready for attack (Almon's Remembrancer, Part iii., 1776, p. 180).
[1286] The reasons for believing that both these statements were true have already been given.
[1287] Bancroft's United States, viii. p. 88.
[1288] Parl. Reg., x. p. 48. Flavored as follows in a communication quoted in Almon's Remembrancer, viii. p. 328: "God and nature hath put into our hands the scalping-knife and tomahawk, to torture them into unconditional submission." Burgoyne's opinions at this time became important; they are in his speeches (Parl. Reg.), his letter to the secretary of state (Ryerson's Loyalists), his address to the Indians (Anburey's Travels), and elsewhere (Hadden's Journal and Orderly-Book, etc.). Cf. also Gent. Mag., March, 1778; McKnight's Burke, ii. 213; Walpole and Mason Corresp., i. 335; Fonblanque's Burgoyne.—Ed.
[1289] Vol. iii., App.
[1290] At the same time that some of them were engaged in hostilities in Canada, others were at Philadelphia having peace-talks with Congress (Journals of Congress, ii. pp. 192, 206, 207).
[1291] For the treaty at Albany in August, see Mass. Hist. Soc. Coll., xxv. 75, and N. Y. Col. Doc., viii. 605. A report of the commissioner of Indian affairs in the Northern Department, addressed to President Hancock from Albany, Dec. 14, 1775, is in Letters and Papers, 1761-1776 (MSS. in Mass. Hist. Soc.).—Ed.
[1292] Numerous other conferences and communications between different persons and bodies and the several tribes attracted attention this season. In May, 1775, the Mohawks declared to the committee of Albany and Schenectady that it was their intention to remain neutral, but they had heard that their superintendent was threatened, and they would protect him (Am. Arch., 4th ser., ii. p. 842). They also addressed a letter to the Oneidas, calling on them to prevent the Bostonians from capturing him (Ibid. pp. 664, 665). For accounts of the conferences, see Am. Arch., 4th ser., iii.; also Stone's Brant, i. ch. v. Cf. letter from Albany in Am. Arch., 4th ser., iii. p. 625.
[1293] When Fort Stanwix was occupied without causing an Indian outbreak, Washington congratulated Schuyler (Sparks's Washington, iv. p. 24). We have but little information of the conference at Montreal which Col. Guy Johnson held in July; but in Almon's Remembrancer, i. p. 241, the statement is made that a considerable number of the chiefs and warriors of the Six Nations were present, and that there were also present 1,700 Caughnawagas. In the presence of Governor Carleton, "they unanimously resolved to support their engagements with his majesty, and remove all intruders on the several communications." This gives a hint of the jealousy with which they regarded the occupation of the posts at the carrying-places between the Mohawk Valley and the lakes. See also Guy Carleton's letter to Dartmouth (N. Y. Col. Doc., viii. 635), in which he says that at Ontario they agreed to defend the communications.
[1294] An intended conference of the Six Nations with the Canadian Indians was announced to Congress by Schuyler in January, 1776 (Am. Arch., 4th ser., iv. p. 898). In March the Oneidas, by their friendly interference, again prevented the taking up of the hatchet which had been surrendered at Albany. (Dean to Schuyler, Am. Arch., 4th ser., v. p. 768.) The Caughnawagas went to Oneida, but would not go to the Onondaga council in March (Ibid. p. 769). Dean went to the Onondaga council. While on the way there his life was threatened, and the Oneidas declined to go on until they received assurances of Dean's safety (Ibid. pp. 1100-1103). The Caughnawagas, returning from Onondaga[?], surrendered the sharp hatchet which Col. Guy Johnson had given them. ("The Commissioners in Canada to the President of Congress, Montreal, May 6, 1776", in Ibid. p. 1214.)
[1295] The loyalists termed this Schuyler's "Peacock Expedition", because the men decorated themselves with feathers from the peacocks at Johnson Hall. Cf. Jones's New York, i. 71, and note xxx.; De Peyster's Life and Misfortunes of Sir John Johnson (New York, 1882), which was first issued as a part of the Orderly-Book of Sir John Johnson (Albany, 1882). This contains a portrait of Sir John, which will also be found in Hubbard's Red Jacket.—Ed.
[1296] Tuesday, March 5, 1776. Two Indian chiefs, who lately arrived in town from Canada, were introduced to his majesty at St. James's by Col. Johnson, and graciously received (Gentleman's Magazine, xlvi. p. 138).
[1297] See ante, chap. ii.
[1298] The site is at present covered by the town of Rome. Its name was changed, when occupied by the Americans, to Fort Schuyler, and for a time the new name conquered a place in the despatches, but the fort is more generally known and spoken of by its original title. There had been another Fort Schuyler at the spot where Utica now stands, and this fact has caused some confusion. See a paper on Forts Stanwix and Bull and other forts near Rome, by D. E. Wager, in the Oneida. Hist. Soc. Trans., 1885-86, p. 65.—Ed.
[1299] The "large force at Oswego" was probably suggested by a grand Indian council held at Niagara in September, 1776, between Col. John Butler and others representing the English and fifteen Indian tribes, including representatives of the Six Nations. The Indians declared their intention to embark in the war and abide the result of the contest (MSS. of Gen. Gansevoort, quoted by Stone in his Brant, ii. p. 4, note).
[1300] In March the Oneidas sent a delegation, accompanied by the Rev. Mr. Kirkland, to the army, to see how matters were going. An offer made by them to act as scouts, probably a result of this tour of inspection, was on the 29th of April accepted by Congress.
[1301] Stone, in his Brant, i. p. 185, attributes to Herkimer an act of intended treachery utterly inconsistent with Herkimer's character as it is portrayed to us. Simms, in his Frontiersmen, etc. (ii. p. 19), gives a more natural version of the story.
[1302] This tragical incident, which attained great currency at the time, is followed in D. Wilson's Life of Jane McCrea (New York, 1853); Mrs. Ellet's Women of the Rev. (ii. 221); Lossing's Schuyler (ii. 250) and Field-Book (vol. i.); the elder Stone's Brant (i. 203), and the younger Stone's papers in Hist. Mag. (April, 1867) and Galaxy (Jan., 1867, also in Beach's Indian Miscellany), and App. to his Burgoyne's Campaign; Asa Fitch in N. J. Hist. Soc. Proc., also in Stephen Dodd's Revolutionary Memorials; Epaphras Hoyt in N. Y. Hist. Soc. Proc. (1847, p. 77); Mag. of Amer. Hist., viii. 202; also Moore's Diary (475), and Ruttenber's Hudson River Indians (p. 273). The subsequent fate of Lieut. Jones, her lover, is told in the Catholic World, Dec., 1882.—Ed.
[1303] The hints as to Burgoyne's opinions of the Indians which are derived from contemporaneous documents are of course more satisfactory than any of his subsequent expressions of opinion. In his speech in the House of Commons, May 26, 1778, his estimate of their value as soldiers was very reasonable: "Sir, I ever esteemed the Indian alliance, at best, a necessary evil. I ever believed their services to be overvalued; sometimes insignificant, often barbarous, always capricious; and that the employment of them in war was only justifiable when, by being united to a regular army, they could be kept under control, and rendered subservient to a general system." (Parl. Reg., ix. p. 218).
[1304] The number of Herkimer's force can never be positively ascertained. It has generally been stated at from 800 to 1,000. In the letter of the Council of Safety to John Jay and Gouverneur Morris (Journals of the Provincial Congress, the Provincial Convention, the Committee of Safety, and the Council of Safety of the State of New York, vol. i. p. 1039) it is estimated at 700.
[1305] Narrative of the Mil. Actions of Col. Mariamus Willett (N. Y., 1831).
[1306] In Simms's Frontiersmen, ii. p.152, and note, there is a description of the Cobleskill affair. Simms says that Stone is in error in making two engagements, one in 1778 and one in 1779, at this spot, and he places the date at May 30, 1778. Campbell describes the event as having occurred in 1779 (Border Warfare, etc., p. 175). Thacher, in his Military Journal, mentions the event in 1778. The next date preceding the entry is May 20th; the next succeeding, June 1st. Col. Stone actually gives three accounts of this engagement,—two in the summer of 1778 and one in 1779.
[1307] The population of the valley at that time has been estimated by Miner at twenty-five hundred, who rejects the larger number given by Chapman and others as not being based on any enumeration; but John Jenkins, in 1783, represented, in behalf of the inhabitants, to the legislature, that such an enumeration was taken, and yielded six thousand persons.
[1308] From Major John Butler's report to Lieut.-Col. Bolton, dated at Lackwanak, July 8, 1778. This report was apparently withheld from Miner's agent, who wrote against its title "Disallowed at the foreign office." Butler's humanity "in making those only his object who were in arms" was the subject of congratulation of Lord George Germain, in a letter to Sir Henry Clinton. See extract in Miner's Wyoming, p. 234. Butler probably understates his losses; but, as is the case with all successful ambuscades, it must have been light. Miner quotes from an American prisoner, who thinks from forty to eighty fell. This seems improbable, when the circumstances of the fight are taken into consideration. The report of Colonel Denison to Governor Trumbull is among the Trumbull MSS. in the Mass. Hist. Soc.
[1309] Eleven dead Indians were left on the field. The American loss was reported by Sullivan as three killed and thirty-three wounded. The number of the enemy engaged was reported by prisoners at eight hundred, although Butler himself stated that his whole force numbered only six hundred men.
[1310] Aug. 20, 1779, General Haldimand had a conference with deputies of the Six Nations. Sullivan was then invading the Indian country. Haldimand told the Indians that he did not "establish" Oswego, because he then "had intelligence that the rebels were preparing boats at Saratoga and Albany to go up the Mohawk River, with an intention to take post at Oswego; but in the course of a few weeks he received a different account, that that was not their intention, but a large rebel army was come up the Connecticut River under the command of the rebel General Haysen, with an intention to invade this province." "As to your apprehensions of the rebels coming to attack your country, I cannot have the least thought of it" (N. Y. Col. Doc., viii. p. 776). Sullivan's force was accounted for as "a feint to be made upon the Susquehanna to draw the attention of Colonel Butler and the Six Nations of Indians from going to Detroit."
[1311] Respecting the original maps made by Lieut. Lodge, of Sullivan's army, showing by actual survey the routes of the several divisions of the army, General Clark informs me that they have been discovered, and will be included in a proposed volume on the campaign, to be issued by the State of New York. What seems to be an original map is preserved among the Force maps in the library of Congress. There is in Simms's Frontiersmen (ii. 272) a map of Sullivan's march along Seneca and Cayuga lakes from the Tioga, following a sketch found among the papers of Capt. Machin, who was in the expedition. See note following this chapter.
For the route of Brodhead, see Mag. of Amer. Hist., iii. 655. Maps of the Groveland ambuscade and the Newtown fight are in the Cayuga County Hist. Soc. Coll., no. 1.—Ed.
[1312] There is in the Penna. Archives, xii., a list of the forts in Pennsylvania built and maintained during the war.
[1313] It did not need that with the adoption of Indian tactics the barbarous custom of mangling the dead should be included, even for purposes of economy. "On Monday, the 30th, sent out a party for some dead Indians." "Toward morning found them, and skinned two of them from their hips down, for boot-legs: one pair for the major, the other for myself" (Proc. N. J. Hist. Soc., ii. p. 31,—Diary of Lieut. William Barton).
[1314] The destruction of grain in Schoharie Valley alarmed Washington. On November 5th he wrote Governor Clinton, saying: "We had the most pleasing prospects of forming considerable magazines of bread from the country which has been laid waste, and which from your Excellency's letter is so extensive that I am apprehensive we shall be obliged to bring flour from the South to support the troops at and near West Point" (Sparks's Washington, vii. p. 282).
[1315] The operations of the several columns are reported by Gen. Haldimand in a letter to Lord George Germain, dated Quebec, Oct. 25, 1780. The return of "rebels killed and taken on the expedition to the Mohawk River, in October, 1780", was as follows: On the Mohawk River and at Stone Arabia, the 18th, 19th, and 20th of October, prisoners, 10 privates; killed, 1 colonel and 100 privates. At Canaghsioraga, the 23d of October, prisoners, 2 captains, 1 lieutenant, 4 sergeants, 4 corporals, 45 privates; killed, 1 lieutenant, 3 privates. The returns of October 23d must refer to the capture of the party sent to destroy the boats, an event which is generally said to have been accomplished without firing a shot.
[1316] "It is thought, and perhaps not without foundation, that this incursion was made upon a supposition that Arnold's treachery had succeeded" (Sparks's Washington, vii. p. 269).
[1317] By a pocket-book found on Butler's person it appears that he had with him 607 men, including 130 Indians. This list is appended to Willett's report in Almon's Remembrancer, xiii. 341.
[1318] Secret Journals, p. 255.
[1319] Cf. Vol. V. p. 584.
[1320] William Leete Stone was born April 20, 1792. He died August 15, 1844. He was for many years one of the proprietors and editors of the New York Commercial Advertiser. In addition to the works enumerated in the text, and besides several miscellaneous works, he also published Border Wars of the American Revolution (two volumes, 1839), Poetry and History of Wyoming, (1841), and Life of Uncas and Miantonamoh (1842). He is generally spoken of as Col. Stone, a title which he gained through a staff-office. (Cf. account of Col. S. in Hist. Mag., Sept., 1865, and his portrait in Feb., 1866).
[1321] Cf. Vol. III. p. 510.
[1322] See Vol. IV. pp. 409-12.
[1323] The Journals of the Provincial Congress, The Provincial Convention, The Committee of Safety, and the Council of Safety of the State of New York, 1775-1776-1777, Albany, 1842, in two volumes, the second volume being devoted to the correspondence of the Provincial Congress. Here we are able to trace the doubts about Brant, the suspicion of Guy Johnson, and we learn what steps were taken to check their influence. Reports of conferences and meetings are given here, including the meeting between Brant and Herkimer at Unadilla.
[1324] Two of these which have been found useful in connection with this chapter are: Indian Treaties and Laws and Regulations relating to Indian affairs, to which is added an Appendix, containing the proceedings of the Old Congress, and other important State Papers, in relation to Indian Affairs (published by the War Department, Washington, 1826); and Laws, Treaties, and other documents having operation and respect to the Public Lands. Collected and arranged pursuant to an Act of Congress, passed April 27, 1810 (Washington City, 1811).
See also Indian Treaties, 1778-1837. Compiled by the Committee on Indian Affairs (Washington, 1837).
[1325] See notice in Vol. V. p. 581.
[1326] In this book there is a full account of the organization of a company of rangers, and a description of their mock Indian costume. There is also an account of the seizure and destruction by the settlers of a lot of goods which the authorities had quietly permitted to be forwarded by traders to the frontier for traffic with the Indians at a time when the border inhabitants did not wish it done. The military authorities, who interfered, were brushed away as lightly as the traders had been who complained to them. The bibliography of the book is given in Vol. V. p. 579.
[1327] See Vol. V. p. 580.
[1328] Upper Mississippi, or historical sketches of the Mound Builders, the Indian Tribes and the progress of civilization in the Northwest, from A. D. 1600, to the Present time, by George Gale (Chicago, 1867).
[1329] An authentic and comprehensive history of Buffalo, with some account of its early inhabitants, both savage and civilised, comprising historic notions of the Six Nations, or Iroquois Indians, including a sketch of the life of Sir William Johnson, and of other prominent white men long resident among the Senecas. Arranged in chronological order, by William Ketchum (Buffalo, 1864), 2 vols.
[1330] Mary Jemison, the white woman who lived among the Senecas so many years, is carelessly spoken of several times as Mary Johnson; elsewhere he gives the name correctly.
[1331] The Book of the Indians and History of the Indians of North America from its first discovery to the year 1841, by Samuel G. Drake (Boston, 1841). This is the title of the 8th edition.
[1332] The Memoir and writings of James Handasyd Perkins, edited by William Henry Channing (Boston, 1851), 2 vols. His chief paper originally appeared in the N. A. Rev., Oct., 1839.
[1333] Annals of the West, embracing a concise account of principal events which have occurred in the Western States and territories, from the discovery of the Mississippi Valley to the year eighteen hundred and fifty-six. Compiled from the most authentic sources, and published by James R. Albach (Pittsburgh, 1858, 3d edition).
[1334] Cf. Vol. V. p. 581.
[1335] Lack of space prevents the proper development of the influence upon the Indians, of the constant absorption by the colonies of their lands. Besides settlers with their families; besides squatters, and in addition to English companies, like the Ohio Company and the Walpole Company, the attention of individuals was directed towards these lands for the double purposes of colonization and investment. Bancroft (vi. 377) says that Franklin organized "a powerful company to plant a province in that part of the country which lay back of Virginia, between the Alleghanies and a line drawn from Cumberland Gap to the mouth of the Scioto." The correspondence of Washington discloses his eagerness to secure land for investment (see Vol. V. p. 271). He labored to get for the soldiers who had participated with him in the French wars the land bounties offered by Dinwiddie, and in addition he sought to secure land for himself by purchase. "Nothing is more certain", he wrote to his agent, "than that the lands cannot remain long ungranted, when once it is known that rights are to be had" (Sparks's Washington, ii. 346). "My plan is to secure a good deal of land" (Ibid. 348). He wished the matter kept secret, as he apprehended that others would enter into the same movement if they knew about it (Ibid. 349). In 1770 he personally visited the valley of the Ohio, and marked corners for the soldiers' land. While on this trip he was told by Indians that they viewed the settlements of the people on this river with an uneasy and jealous eye, and that they must be compensated for their right if the people settle there, notwithstanding the cession of the Six Nations (Ibid. 531).
In Pennsylvania an act was passed Feb. 18, 1769, "to prevent persons from settling on lands within the boundaries of this province not purchased of Indians." The preamble recites that "Whereas, many disorderly persons have presumed to settle upon lands not purchased of the Indians, which has occasioned great uneasiness and dissatisfaction on the part of the said Indians, and have [sic] been attended with dangerous consequences to the peace and safety of the province", etc. (Laws of the Commonwealth of Pennsylvania, etc., republished under authority of the Legislature, by Alexander James Dallas, Philadelphia, 1797).
[1336] See Vol. III. p. 161.
[1337] If land companies were disposed to avail themselves of the doubt as to what tribe of Indians had a right to sell land, so the British government itself had treated the question of their shadowy allegiance to suit its convenience. Bradstreet, in his abortive attempts at making a treaty with them, called them subjects. Sir William Johnson said the very idea of being "subjects was abhorrent to them." Compare this with the doctrine laid down in Huske's Present State of North America, pp. 16, 17.
[1338] Croghan's testimony does not materially alter the boundaries as they were defined by Sir William Johnson in his report to the Lords of Trade, Nov. 13, 1763 (N. Y. Col. Docs., vii. p. 573). "Along the ridge of the Blue Mountains to the head of the Kentucky River, and down the same to the Ohio above the rifts, thence northerly to the south end of Lake Michigan", etc. Cf. letters (1767) to Franklin from George Croghan, Joseph Galloway, and Samuel Wharton, in the Shelburne Papers (Hist. MSS. Com. Rep., v. 218).
Charles W. E. Chapin contributed an article entitled "The Property Line of 1768", to the Magazine of American History, January, 1887. He shows how the boundary line defined in the Fort Stanwix treaty came to be known as the "Property Line", and forcibly points out the powerful influence this treaty had upon the Revolution.
[1339] The Register of Pennsylvania, devoted to the preservation of facts and documents, and every other kind of useful information respecting the State of Pennsylvania, 16 vols., 1828-1835, a weekly journal, edited by Samuel Hazard. See Vol. III. p. 510.
[1340] Cf. Vol. III. p. 508.
[1341] An historical Amount of the Expedition against the Ohio Indians in the year 1764 under the command of Henry Bouquet, etc., (London, reprinted for T. Jefferies, etc., 1766), App., vol. v. p. 69.
[1342] See also Stone's Sir William Johnson, Appendix, ii. no. vii. p. 486.
[1343] This original edition is called History of the Discovery of America, of the landing of our forefathers at Plymouth, and of their most remarkable engagements with the Indians in New England from their first landing in 1620, until the final subjugation of the natives in 1669. To which is annexed the defeat of Generals Braddock, Harmer, and St. Clair by the Indians at the Westward, etc. By the Rev. James Steward, D. D. (Brooklyn, L. I., no date). Slight changes were made in some of the titles to later editions, to indicate the material added, and the date 1669 was altered to 1679. Pritts, under the impression that it was a rare book, reprinted it in his Border Life, etc. Its accuracy was impugned in the Historical Magazine (1857, p. 376; and 1858, p. 29). It was vigorously denounced in Field's Indian Bibliography (no. 1,570, p. 397). "This work under all its Protean forms bears evidence that it was written for a comparatively unlettered public." Col. Peter Force is quoted as having said that he found twenty-two chronological errors on a single page. The notice concludes: "Under all forms there is only a variation of worthlessness." Dr. Trumbull gives a brief bibliographical notice in the Brinley Catalogue (which shows six editions), from which I have extracted some of the information used in the text. The very poor woodcuts with which the book was originally illustrated, the violent colors with which the wretched illustrations of some of the later editions were disfigured, and the errors of dates, have prevented recognition of what there was of value about it.
[1344] It is not worth while to undertake to follow this book through all its editions and changes. It is important, however, for our purposes to note some of them. The estimate to which I have alluded is given in the appendix of the edition referred to above (p. 176), and the statement is made that it was obtained "from a gentleman employed in one of the Indian treaties." There was a second issue of the first edition with the imprint "Norwich", and the authorship attributed to "A Citizen of Connecticut." An edition was published at "Norwich, for the Author, at his Office", in 1810. In this edition "Henry Trumbull" appears as the author. Another edition was issued at Norwich in 1811, and another in 1812. One was also issued at Trenton in 1812. In these various editions slight changes in the arrangement of materials took place, some corrections were made, and from time to time additional matter was inserted. The name of the gentleman who furnished the list of Indians is given on page 115 of the Trenton edition, which I have been able to consult, as Benjamin Hawkins. Editions were published at Boston in 1819, 1828, 1841, and 1846. Dr. Trumbull is of opinion that there must be twenty editions of the book, which is certainly poor enough; but it happens that this list, which was evidently furnished by some one familiar with the subject, is to our purpose. The same list did service in A Tour in the United States of America, etc., by J. F. D. Smyth (London, 1784), where it appears (i. p. 347) without recognition of the original source. The arrangement of the order of tribes is changed, and the spelling of many of the Indian names is altered to correspond with the French methods of spelling, thus suggesting the possibility that the list may have been transcribed by Smyth from some French work. The author foots up the total number of warriors, including certain tribes west of the Mississippi and others in Canada, at 58,930. To these he adds one third to represent the old men, and making an error in his calculation, calls the total number of men 88,570. Allowing six souls for each male warrior he arrives at a total of 531,420, which, he says, "I consider as the whole number of souls, namely, men, women, and children of all the Indian nations."
[1345] Views of Louisiana, together with a Journal of a Voyage up the Missouri River in 1811. By H. M. Brackenridge, Esq. (Pittsburgh, 1814).
[1346] Voyage dans les deux Louisianes et chez les Nations Sauvages du Missouri, par les Etats-Unis, l'Ohio et les Provinces qui le bordent, en 1801, 1802, et 1803; Avec un apperçu des mœurs, des usages, du caractère et des coutumes religieuses et civiles des peuples de ces diverses Countrées, par M. Perrin du Lac (A Lyon, 1805).
[1347] It is also given in Campbell's Annals of Tryon County, note L, p. 319.
[1348] Three of the estimates referred to in the text are reprinted by Schoolcraft under the following headings: "Enumeration of M. Chauvignerie's Official Report to the Government of Canada, A. D. 1736;" "Estimate of Colonel Bouquet, 1764;" "Estimate of Captain Thomas Hutchins, 1764." Schoolcraft also gives one more estimate of that period, viz.: "Account of the Indian Nations given in the year 1778 by a Trader who resided many years in the neighborhood of Detroit. (From the MSS. of James Madison.)" (Schoolcraft's Indian Tribes, iii. p. 553.)
[1349] All of the authorities to which he refers have already been cited, and it may fairly be said that there is nothing of special value in his remarks on the subject. In the development of the topic to which the work is devoted the author alludes to the custom of the Indians to refrain from connection with women not only during the time that they were on the war-path, but for some days before starting. The unanimity of testimony as to this custom of the Indians renders special citations unnecessary. Until the natives were debauched in this respect by contact with civilization, no authentic instance can be found of the violation of a woman by a warrior on the war-path. Brantz Mayer, in his defence of Cresap (Logan and Cresap, p. 110), quotes from the Md. Gazette (Nov. 30, 1774) a charge of this sort. If there was foundation for it in the minds of those who made it, investigation would probably have traced the outrage to whites disguised as Indians. The superstition which protected women from Indian assault was still in force at that time.
[1350] The editor says he "has given the following memorandum of Indian fighting men, inhabiting near the distant parts, in 1762; to indulge the curious in future times, and show also the extent of Dr. Franklin's travels. He believes it likely to have been taken by Dr. Franklin in an expedition which he made as a commander in the Pennsylvania militia, in order to determine measures and situation for the outposts; but is by no means assured of the accuracy of this opinion. The paper, however, is in Dr. Franklin's handwriting: but it must not be mistaken as containing a list of the whole of the natives enumerated, but only as such part of them as lived near the places described."
[1351] In addition to a vast number of reports, extracts from letters, and proceedings of one sort and another, I would call especial attention to the following papers: Carleton's Commission (ii. p. 120); Proceedings connected with Connolly's arrest (ii. pp. 218-221); Schuyler's expedition to Tryon County (iii. p. 135); Stuart's letter to Gage, Oct. 3, 1776 (Part iii., 1776, iv. p. 180); an account of Wyoming massacre from fugitives (vii. p. 51); Col. Wm. Butler's report to General Stark of the destruction of Unadilla, etc. (vii. pp. 253-255); Colonel Van Schaick's report of the destruction of Onondaga (viii. p. 272); the Minisink affair (viii. pp. 275, 276); the letter of the Earl of Dartmouth to Lord Dunmore (viii. p. 278); attack On Indians at Ogeechee, April, 1779 (viii. p. 300); action of the Council at Williamsburgh in Hamilton's case (viii. p. 337); letters from Sullivan's headquarters concerning battle at Newtown (ix. p. 23); Sullivan's proclamation to Oneidas (ix. p. 25); Brodhead's report of his expedition (ix. p. 152); Sullivan's report, Teaoga, Sept. 30, 1779 (ix. p. 158); Joint movements in the valleys of Mohawk, Hudson, and Connecticut (xi. pp. 81-83). The foregoing sufficiently illustrates the wealth of historical material collected in the Remembrancer.
[1352] The Register contains nearly all the papers submitted to Parliament which bore upon American affairs, together with other documents which the publishers from time to time added to the volumes. The Remembrancer and the Register together furnish the means of writing a history of the border warfare of the Revolution which would be nearly complete. A large mass of documentary material respecting the relation of General Haldimand in Quebec with the Indians and with British officers operating with the Indians is in the Haldimand Papers, in the British Museum, of which the Dominion archivist, Douglas Brymner, is now printing a calendar in his Annual Reports (Ottawa). The correspondence of Haldimand and Guy Johnson, 1778-1783, makes three vols. Many papers on this border warfare are in the Quebec series of MSS. in the Public Record Office, and are also noted by Brymner (Report, 1883, p. 79).—Ed.
[1353] In the Secret Journals, the Articles of Confederation, proposed by Franklin on the 21st of July, 1775, are printed in full. I have had occasion to refer to them because an offensive and defensive alliance with the Six Nations is proposed in them. In the "Advertisement" to the edition of the Secret Journals which is cited, the publishers say that these Articles "have never before been published." In the Gentleman's Magazine (xlv. p. 572) a "Plan of the American Confederacy" is given. This plan is copy of Franklin's proposed Articles of Confederation, with a preamble addressed to the Provincial Congress of North Carolina, and was apparently received from that colony. In connection with this, see Bancroft (viii. p. 97). In the Scot's Magazine (Edinburgh, 1775, xxxvii. p. 665) these Articles were copied from the Gentleman's Magazine, with this comment: "The copy from whence this was printed was addressed particularly to the Province of North Carolina; but the same was without doubt submitted to the consideration of every other Provincial Congress, as the preamble clearly shows." The preamble thus referred to reads: "The Provincial Congress of —— are to view the following Articles as a subject which will be proposed to the Continental Congress at their next session." These two magazines publish the Articles as a mere submission of a plan. When the proposed Articles of Confederation reached the Annual Register they became "Articles of Confederation and Perpetual Union entered into by the several colonies of New Hampshire, &c., &c., in General Congress met at Philadelphia, May 20, 1775" (Annual Register, 1775, p. 253). These Articles were also published as if they had been adopted in The History of the British Empire, etc. By a Society of Gentlemen. (Printed for Robert Campbell & Co., Philadelphia, 1798, 2 vols.: i. p. 188, note.) They are also given as Articles of Confederation, etc., entered into, etc., May 20, 1775, in An Impartial History of the War in America, etc., Boston, 1781, Appendix to vol. i. p. 410.
[1354] The rumors current in the colonies during the progress of events express the hopes and the fears of the colonists, and to a certain extent also indicate their opinions. We should naturally expect to find in an American collection of this sort something to help us in getting at the views of the colonists on the question of employing Indians. In fact, there is but little to be found in the book on this subject, and we are obliged to turn again to Almon's Remembrancer, where we find numerous rumors recorded, some of them improbable in their very nature, but serving to indicate the hopes of the people; as for instance, in a letter from Pittsfield, May 18, 1775: "The Mohawks had given permission to the Stockbridge Indians to join us, and also had 500 men of their own in readiness to assist" (i. p. 66). Again, Worcester, May 10: "We hear that the Senecas, one of the Six Nations, are determined to support the colonies" (i. p. 84). [This extract will be found in the Spy of that date.] June 20, 1775: "The Indians from Canada, when applied to by Governor Carleton to distress the settlement, say they have received no offence from the people, so will not make war with them" (i. p. 147). August 3: "The Canadians and Indians cannot be persuaded by Governor Carleton to join his forces, but are determined to remain neuter" (i. p. 169). August 12: "The Indian nations, for a thousand miles westward, are very staunch friends to the colonies, there being but one tribe inclined to join Governor Carleton, of which, however, there is no danger, as the others are able to drive that tribe and all the force Carleton can raise" (i. p. 251). The Boston Gazette and Country Journal for August 21, 1775, contains the statement that "all apprehensions of danger from our fellow-subjects in Canada and the Indians are entirely removed." The arrival of Swashan, with four other Indians of the St. Francois tribe, at Cambridge, with the statement that "they were kindly received and are now in the service", is printed in the columns of the same journal. Cf. Drake's Book of the Indians, iii. ch. xii. p. 156; Moore's Diary of the Rev., i. p. 127. The Boston Gazette, etc. (Dec. 4, 1775) has the following: "Last week his Excellency the Commander-in-Chief received some despatches from the Honorable Continental Congress, by which we have authentic intelligence that several nations of the Western Indians have offered to send 3,000 men to join the American forces whenever wanted." The New England Chronicle or the Essex Gazette, from Thursday, July 27, to Thursday, August 3, 1775, published at Stoughton Hall, Harvard College, under date of Aug. 3, says: "We can't learn that a single tribe of savages on this continent have been persuaded to take up the hatchet against the colonies, notwithstanding the great pains made use of by the vile emissaries of a savage ministry for that purpose."
[1355] Also in Campbell's Border Warfare of New York during the Rev. War (a second edition of his Annals of Tryon County), App.
[1356] This petition, if in the Mass. Archives, as one might infer, cannot now be found there.
[1357] For instance, John Sullivan and John Langdon write from Philadelphia, May 22, 1775, that the Indians tell them Guy Johnson "has really endeavored to persuade the Indians to enter into a war with us" (vii. p. 501); Lewa, a well-known Indian, reports the Canadian Indians friendly to the Americans, and says he "can raise 500 Indians to assist at any time" (vii. p. 525); Governor Trumbull has learned that "the Cognawaga Indians have had a war-dance, being bro't to it by Gen. Carleton" (vii. p. 532); Rev. Dr. Eleazer Wheelock gives Dean's report as to the good-will of the Canadian Indians (vii. p. 547).
[1358] Sparks asserts that Natanis, a Penobscot chief, was in the interest of Carleton (Washington, iii. p. 112, note). Judge Henry says he was one of those who joined Arnold at Sartigan. In the American Archives (5th ser., i. pp. 836, 837), James Bowdoin, writing to Washington, says that the Penobscots said "that when General Washington sent his army to Canada, five of their people went with them, and two of them were wounded and three taken prisoners." The small number of Indians who accompanied Arnold cut no figure in the campaign, but the advance of the column under Montgomery excited fears in the minds of the English in Canada that the invaders might use the natives as auxiliaries, precisely as the Americans feared a similar use on the English side. In Almon's Remembrancer (ii. p. 108), a letter from Quebec states: "General Montgomery, who commands the provincial troops, consisting of two regiments of New York militia, a body of Continental troops, and some Indians", etc. On Sept. 16, 1775, General Carleton, writing from Montreal to Gage, in an account of the landing of the Americans near St. John's, says: "Many Indians have gone over to them, and large numbers of Canadians are with them at Chamblée" (Sparks's Washington, iii. 110, note). The Canadian Indians, instead of contributing to Montgomery's force, asked for protection,—a plea which apparently seemed, in the excitement of the hour in Canada, to be a declaration of friendship. "The Caghnawagas have desired a 100 men from us. I have complied with their request, and am glad to find they put so much confidence in us, and are so much afraid of Mr. Carleton" (letter from Montgomery, camp before St. John's, Oct. 20, 1775, in Almon's Remembrancer, ii. p. 122). The Mohawks, on the contrary, acted on the English side, and some of them were killed by the Americans.
[1359] It was from these reports, as well as from personal interviews, that Washington formed his opinion as to the temper of the Canadian and Northern Indians. A few quotations will illustrate what he had a right to think, e. g. (p. 35) report of committee, August 3, 1775, appointed to confer with Lewis, a chief of the Caughnawaga tribe. "Question. Has the governor of Canada prevailed on the St. Francois Indians to take up arms against these colonies? Answer. The governor sent out Messi'rs St. Luc and Bœpassion to invite the several tribes of Indians to take up arms against you.... They answered nobody had taken up arms against them, and they would not take arms against anybody to trouble them, and they chose to rest in peace." Again (p. 80), the committee appointed to confer with the St. Francois tribe reported, Aug. 18, 1775: "Q. If Governor Carleton should know you offered us your assistance, are you not afraid he would destroy you? A. We are not afraid of it; he has threatened us, but if he attacks us we have arms to defend ourselves." Once more (p. 81): "Q. Do you know whether any tribes have taken up arms against us? A. All the tribes have agreed to afford you assistance, if wanted." Also (p. 89), Aug. 21st, £10 was appropriated for the use of five Indians belonging to the St. Francois tribe, "one being a chief of said tribe; the other four, having entered into the Continental army, are to receive eight pounds of said sum as one month's advance wages for each of them;" and (p. 148) Oct. 9, speech of two head sachems of the St. John's tribe. "Penobscot Falls, September 12, 1775. We have talked with the Penobscot tribe, and by them we hear that you are engaged in a war with Great Britain, and that they are engaged to join you in opposing your and our enemies. We heartily join with our brethren in the colony of Massachusetts, and are resolved to stand together, and oppose the people of Old England, that are endeavoring to take your and our lands and liberties from us."
[1360] "A company of minute-men, before the 19th of April, had been embodied among the Stockbridge tribe of Indians, and this company repaired to camp. On the 21st of June two of the Indians, probably of this company, killed four of the regulars with their bows and arrows, and plundered them" (Frothingham's Siege of Boston, p. 212). A letter of July 9th says: "Yesterday afternoon some barges were sounding the river of Cambridge (Charles) near its mouth, but were soon obliged to row off, by our Indians (fifty in number), who are encamped near that place" (Ibid. p. 212, note). On the 25th (June): "This day the Indians killed more of the British guard." On the 26th: "Two Indians went down near Bunker Hill, and killed a sentry" (Ibid. p. 213). Frothingham's authority is given as "John Kettel's diary. This commences May 17, and continues to Sept. 31, 1775." Through the kindness of Mr. Thomas G. Frothingham I have examined the original diary, which, in addition to the extracts given, contains several others showing that our riflemen picked off the British sentries. The Boston Gazette and Country Journal (August 7, 1775) contains the following: "Watertown, August 7. Parties of Rifle Men, together with some Indians, are constantly harassing the Enemy's advanced Guards, and say they have killed several of the Regulars within a Day or two past." (Ibid. 14th): "We hear that last Thursday Afternoon a number of Rifle men killed 2 or 3 of the Regulars as they were relieving the Centries at Charlestown lines." The fact that two Indians were wounded by our own sentries in August is recorded in Craft's Journal, etc. (Essex Institute Hist. Coll., iii. p. 55). As there were no Indians with the English, this must have been an accidental collision.
[1361] The correspondence of Allan and Haldimand is in the Quebec Series, vol. xvii. (Public Record Office), and is chronicled in Brymner's Report on the Dominion Archives (1883). Cf. further in N. E. Hist. and Geneal. Reg., 1858, p. 254, Mag. of Amer. Hist., 1882, p. 486; W. S. Bartlet's Frontier Missionary (1853); G. W. Drisko's Life of Hannah Weston (Machias, 1857); Journal of sloop "Hunter" in Hist. Mag., viii. 51; Ithiel Town's Particular Services, etc. There is a portrait and memoir of Frederic Kidder in N. E. Hist. and Geneal. Reg., April, 1887.—Ed.
[1362] Cf. N. S. Benton's Herkimer County; Harold Frederic in Harper's Mag., lv. 171; Dawson's Battles, ch. 36; Lossing's Field-Book, i. ch. 12, etc.
[1363] This work was reviewed in the Monthly Review, iii. p. 349; The New York Review, iii. p. 195; Christian Examiner and General Review, xxvi. p. 137; Christian Review, iii. p. 537; No. Amer. Rev., Oct., 1839, by J. H. Perkins. (Cf. Poole's Index.)
The two volumes originally published in 1838 were edited by the son in 1865. An abridgment of it, known as the Border Wars of the Rev., makes part of Harper's Family Library.
There is some account of the early life of Brant in J. N. Norton's Pioneer Missionaries (N. Y., 1859), and of his posterity by W. C. Bryant, of Buffalo, in Amer. Hist. Record, July, 1873; reprinted in W. W. Beach's Indian Miscellany. S. G. Drake told Brant's story in the Book of the Indians, and in the N. E. Hist. and Geneal. Reg., ii. 345; iii. 59. There are references to letters of Brant among the Haldimand Papers, in the Index of MSS. (Brit. Mus.), 1880, p. 195. Mr. Lyman C. Draper, of Madison, Wisconsin, has been an amasser of material respecting Brant for forty years, but has not yet published his studies.
[1364] Col. Stone speaks of two conferences held in 1775, one at Ontario and one at Oswego. He says: "Tha-yen-dan-e-gea had accompanied Guy Johnson from the Mohawk Valley first westward to Ontario, thence back to Oswego" (Brant, i. p. 149). Lossing, upon the evidence at his command, adopted the same opinion: "Johnson went from Ontario to Oswego" (Schuyler, i. p. 355). I have made some effort to discover the site of Ontario, which apparently was to the "westward" of Oswego, but have been unable to find it, and have been forced to the conclusion that the officers who dated their letters from Fort Ontario at Oswego, and who spoke of the post in their correspondence, used the words Ontario and Oswego indifferently to express the same place. Guy Johnson dates several letters at Ontario. Col. Butler, in his correspondence in connection with the St. Leger expedition, dates his letters first at Niagara, then at Ontario. On Guy Johnson's map of the country [see ante, p. 609] the site is designated as Fort Ontario, and no other Ontario is put down. Guy Johnson reported that St. Leger had gone "on the proposed expedition by way of Ontario" (N. Y. Col. Doc., viii. p. 714). We know that he went by Oswego, and except that Col. Butler writes from Ontario, we have no mention of Ontario in any of the accounts of this expedition. Gen. Haldimand, in speaking of the proposed reëstablishment of the post, calls it Oswego (Ibid. viii. p. 777). Guy Johnson, in the same connection, calls it Ontario (Ibid. p. 775) and Fort Ontario (Ibid. p. 780). Rev. Dr. Wheelock, describing Johnson's movements, said he had withdrawn with his family by the way of Oswego (N. H. Provincial Papers, vii. p. 548).
Shortly after Johnson's arrival in Montreal he wrote a brief account of his transactions to the Earl of Dartmouth, in which he spoke of the conference at Ontario, but said nothing of a second at Oswego (N. Y. Col. Doc., viii. p. 636). This journal, certified by Joseph Chew, Secretary of Indian Affairs, appears to account for his motions continuously during this period, and speaks only of the conference at Ontario. He arrived at Ontario June 17th, embarked at that point July 11th for Montreal, and arrived at the latter place July 17th, with 220 Indians from Ontario (Ibid. viii. p. 658; Ketchum's Buffalo, i. p. 243). Mr. Berthold Fernow informs me that in Guy Johnson's account for expenses in the Indian Department in 1775 this item occurs: "July 8, 1775. For cash given privately to the chiefs and warriors of the 6 Nations during the treaty at Ontario, £260." No other conference in that immediate neighborhood is mentioned in the Johnson MSS. An instance of indifference in the application of the two names will be found in Mrs. Grant's Memoirs of an American Lady. Mr. B. B. Burt, of Oswego, writes to me that "there was not any Ontario west of Oswego except the lake", and kindly calls my attention to several instances in the records which tend to show the confusion in the use of these names. Among others he refers to a letter of Sir William Johnson's, in which he speaks of Ontario and Oswego, apparently meaning the same place (N. Y. Col. Doc., vii. p. 530). A similar instance, as I believe, is to be found in the letter of Capt. Walter N. Butler to Gen. Clinton, Feb. 18, 1779, quoted in Stone's Brant, i. p. 384. In this latter case it is not surprising that the identity of the two places was not suspected by Col. Stone. At first sight Butler seems to be speaking of two distinct spots. In Orasmus H. Marshall's Niagara Frontier, embracing Sketches of its early history and French and English local names (1865), Ontario as a town or site is not mentioned. O'Reilly's Rochester contains an Indian account of the alliance, which makes no mention of Ontario (see pp. 388, 389). On the other hand, the Duc de la Rochefoucault Liancourt's Travels through the United States of North America, the country of the Iroquois and Upper Canada, in the years 1795, 1796, and 1797, mentions a place called Ontario on the Genessee River, but he gives no other description of it than of the log-cabin where he spent the night.
Hough, in his Northern Invasion of October, 1780, gives his reason for disputing Stone's statement that the Oneida settlements were destroyed by the enemy in the winter of 1779-1780. The reasons for believing that Hough was correct are stated elsewhere.
Stone places the invasion of the Schoharie Valley in October, 1780; but Simms (Frontiersmen, ii. p. 392 et seq.) makes it clear that there were two invasions during that year, as indeed Stone himself (vol. ii. p. 97) seems to allow in quoting from Almon's Remembrancer (part ii., 1780).
In his enthusiasm for his hero, Col. Stone is betrayed into calling Brant the principal war-chief of the confederacy; but Morgan, in his League of the Iroquois (p. 103), speaking of the celebrated Joseph Brant Ta-yen-dä-ná-ga, says his "abilities as a military leader secured to him the command of the war parties of the Mohawks during the Revolution. He was also but a chief, and held no other office or title in the nation or in the confederacy." (Ketchum's Buffalo, i. p. 331). Stone (ii. p. 448) further says "the Six Nations had adopted from the whites the popular game of ball or cricket", but the Jesuit Relations, as well as La Potherie and Charlevoix, would have put him right in this respect.
[1365] Tryon County was formed in 1772 (Albany County then embracing all the northern and western part of the colony), so as to cover all that part of New York State lying west of a line running north and south nearly through the centre of the present Schoharie County. Campbell's work, by its title, therefore fairly included the scene of all the border warfare of New York. Many of the notes in the appendix are valuable, and they contain sketches of the lives of Sir William Johnson, Brant, Gen. Clinton, and Gen. Schuyler; Moses Younglove's account of his captivity and his charges against the English; and an account of the Wyoming massacre. Franklin's successful imitation, the Gerrish letter, is copied (as genuine in the first edition) from a local newspaper of the Revolutionary period. A table of the number of Indians employed by the English in the Revolutionary War is given, and an article, by the author, on the direct agency of the English government in the employment of Indians in the Revolutionary War is reprinted. The sketch of Clinton's life was separately published as Lecture on the Life and Military Services of General James Clinton, read before the New York Historical Society, Feb., 1839.
[1366] Life of Kirkland, by S. K. Lothrop, in Sparks's Amer. Biog., vol. xv. A sketch will also be found in the History of the town of Kirkland, New York, by Rev. A. D. Gridley (New York, 1874).
[1367] In the History of the United States for families and libraries, by Benson J. Lossing (New York, 1857), the author deals briefly, but accurately, with the events covered by this chapter. Cf. also his earlier Seventeen Hundred and Seventy-Six (New York, 1849).
[1368] Historical writers have been greatly at variance on this point. John M. Brown (pamphlet History of Schoharie County, quoted by Simms and Stone) says the event took place in June or July, 1776; but Stone (Brant, ii. p. 313), in giving Brown's account, corrects the date to July, 1778. In the Gansevoort Papers Stone found the affair assigned to the close of May, 1778, corresponding with the date in Thacher, and with the account given in McKendry's journal of the disaster to "Capt. Partrick" at "Coverskill;" this was adopted by Simms in his Frontiersmen (ii. p. 151), and Stone put his narrative under this date in his Brant (ii. p. 354). Campbell (Border Warfare) places it in 1779, but Stone (Brant, ii. p. 412) says that Capt. Patrick could not possibly have commanded the troops, as he was killed in the attack of the previous year. It seems to me that Simms clearly establishes that there was but one attack on Cobleskill.
[1369] See Vol. V. p. 616. Fort Stanwix, which is sometimes spoken of as a log fort, is thus described by Pouchot: "This fort is a square of about ninety toises on the outside, and is built of earth, revetted within and without by great timbers, in the same fashion as those at Oswego" (vol. ii. p. 138). We find no mention of Ontario.
[1370] See ante, ch. iv.—Ed.
[1371] De Peyster seems to have misinterpreted the language of St. Leger's letter, where St. Leger states that Lieut. Bird was led to suppose that Sir John Johnson needed succor, and in consequence of this false information Bird went to the rescue, thus leaving the camp without defenders. On page cxi, De Peyster says: "The white troops, misled by the false reports of a cowardly Indian, were recalled to the defence of the camp." There is no phrase in any accounts that I have met with in which action on the part of the troops is predicated on the information of a "cowardly Indian", except that contained in St. Leger's account, which De Peyster himself quotes, p. cxxx, as follows: "Lieut. Bird, misled by the information of a cowardly Indian that Sir John was prest had quitted his post; to march to his assistance." In spite of his mistake as to which marched to the other's assistance, on page cxxxiv he says "When the Indians began to slip out of the fight, the Royal Greens must have been hurried to the scene of action, leaving the lines south of the fort entirely destitute of defenders."
[1372] The troops which were intended for St. Leger are named in the Parl. Reg., viii. p. 211. He was to have 675 regulars and Tories, "together with a sufficient number of Canadians and Indians." St. Leger was to report to Sir William Howe at Albany. The numbers of the force which he took with him, although different in detail, corresponded as a whole with the estimate. He was so confident of success that at Lachine he detached a sergeant, a corporal, and thirty-two privates to accompany the baggage of the king's royal regiment by way of Lake Champlain to Albany. Ten "old men" were also ordered to be left at Point Clair (Johnson's Orderly-Book, p. 63). Carleton on the 26th of June reported as follows: "St. Leger has begun his movement, taking the detachment of the 34th regiment [100 men], the royal regiment of New York increased to about 300 men, and a company of Canadians [say 75 men]. He will be joined by the detachment of the 8th regiment [100 men] and the Indians of the Six Nations with the Misasages, as he proceeds. About 100 Hanau chasseurs have since arrived, and are on their way to join him" (Parl. Reg., viii. p. 215). The king's (8th) regiment, which was to join as the expedition proceeded, and the Hanau chasseurs, were at Buck Island July 10th (Johnson's Orderly-Book, p. 67). The increase of Johnson's regiment is to be accounted for by the presence of "Jessup's corps" (Ibid. p. 36, note 17). This force, apparently numbering 675 men, was increased at Oswego by Butler's rangers, a company of 70 to 75 men, making the total force of whites nominally about 750 men. From that number 44 men had been detached, as above. Forty days' provisions for 500 men were on the 17th of July ordered to be made ready to be embarked. From this order De Peyster and Stone argue that St. Leger's total effective force of whites was 500 men. In the same order Lieut. Collerton was directed "to prepare ammunition for two 6-pounders and 2 cohorns, and 50 rounds ball cartridges per man for 500 men", showing by the same reasoning that there were 500 men who bore muskets. No entry is made in the order-book concerning provisions for the Indians and rangers after leaving Buck Island. Col. Claus reported "150 Mississaugas and Six Nation Indians" at that point (Claus to Secretary Knox, N. Y. Col. Doc., viii. p. 719), and said that St. Leger had 250 with him when he arrived at Oswego (Ibid.). Brant joined the expedition at this point with 300 more (Ibid.). A company of rangers raised by Col. Butler participated in the campaign (Carleton to Germain, July 9 and Sept. 20, 1777, Parl. Reg., viii. pp. 220, 224). They apparently joined the expedition at "Ontario", as Butler calls "Oswego." The Western Indians and the Senecas had been summoned by Col. Butler. He reported that "the number of Indians at Ontario and the Senecas at 'three rivers' cannot fall much short of 1,000" (Ibid. 226). The Indians were stopped at "three rivers" by Col. Claus; but from those assembled at Oswego and "three rivers", there were "upwards of 800" who went forward with the expedition to Fort Stanwix (Claus to Secretary Knox, N. Y. Col. Doc., viii. p. 719). Among these were some Senecas, who participated in the ambuscade under the leadership of chiefs of their own tribe, in concurrence with Sir John Johnson and Col. Butler (Parl. Reg., viii. p. 226). It is evident that the rations for 500 men did not make provision for the Indians nor for the company of rangers. Making every allowance for the reduction of the force by illness, it would seem as if the allowance of 650 whites to St. Leger's effective force must be within limits. The presence of each separate command alluded to by Carleton in his report of what had gone forward, is recognized at some point in the Orderly-Book. The "upwards of 800 Indians" mentioned by Claus makes a total of about 1,450. St. Leger throws a doubt over the number of Indians present by saying that all of them participated in the ambuscade. Both Butler and Claus say there were 400 of them in the fight. The probability is that some of them were engaged in transporting supplies across the portage, and that all in camp were sent forward. Col. Stone gives Brant credit for devising the ambuscade and leading the Indians. Butler says not a ward of Brant, but praises the Senecas. Here again we must resort to conjecture for explanation. It may be that Brant was on one side of the road with his "poor Mohawks", of whose sufferings in the battle he afterwards spoke, while Butler with his Senecas was on the other side. St. Leger's statement that all the Indians went to the front shows one thing at least,—that the force with which he undertook to cut off Willett's 250 men must have been whites. He had men enough with him while engaged in clearing the creek and in transporting provisions—with 80 men at the front, and with Lieut. Bird's command, decoyed from camp by false intelligence—to return to intercept Willett. Cf. Precis of the Wars in Canada (London, 1826), which states that St. Leger's corps "consisted of 700 regulars, with eight pieces of ordnance and about 1,000 Indians."
In all this discussion I have assumed that Sir John Johnson's orderly-book contained all the orders with reference to rations. As such orders were not a necessary part of the record, it may he doubted whether other orders not affecting that corps would not be found in St. Leger's order-book.
[1373] Mary Jemison puts the loss of the Senecas alone above what Claus and Butler reported the total Indian loss. Claus states the British loss at three officers, two or three privates, and thirty-two Indians killed (N. Y. Col. Doc., viii. p. 720). Col. Butler puts the English loss in the action at four officers killed and two privates wounded; the Indian loss at thirty-three killed and twenty-nine wounded (Parl. Reg., viii. p. 226). Mary Jemison (p. 116) says: "Previous to the battle of Fort Stanwix the British sent for the Indians to come and see them whip the rebels; and at the same time stated that they did not wish to have them fight, but wanted to have them just sit down, smoke their pipes, and look on. Our Indians went, to a man, but, contrary to their expectation, instead of smoking and looking on, they were obliged to fight for their lives; and in the end were completely beaten, with a great loss of killed and wounded. Our Indians alone had thirty-six killed and a great number wounded. Our town exhibited a scene of real sorrow and distress when our warriors returned, recounted their misfortunes, and stated the real loss they had sustained in the engagement. The mourning was excessive, and was expressed by the most doleful yells, shrieks, and howlings, and by inimitable gesticulations."
[1374] The exaggerated rumors of the losses at Minisink which first reached Sullivan's camp were immediately displaced by more accurate accounts. "The accts we rec'd from the Delaware at Minisings on the 29th are more favorable than at first represented. The Tories and savages made a descent upon that settlement, and, having burned several houses, barns, etc., were attacked by a Regt. of Militia, who repulsed and pursued them a considerable distance. Forty men were killed on our side, the Colo. and Major included" (Major Norris's journal in Publications of the Buffalo Hist. Soc., i. p. 225).
The account which appears in the Boston Gazette and Country Journal, Sept. 6, 1779, is singularly free from exaggeration. Indeed, it underrates the whole affair. It speaks of the destruction of the town as "an excursion on old Minisink", and says the militia marched to the assistance of their neighbors and followed the savages thirty miles into the wilderness. An action ensued in which upwards of twenty of the enemy were killed, and our losses, killed, wounded, and missing, were upwards of thirty. The later accounts are in E. M. Ruttenber's Orange County (Newburgh, 1875); Charles E. Stickney's Minisink Region (Middletown, 1867); in the N. Y. Columbian, copied in Niles's Principles and Acts, and in Dr. Arnell's Address to the Med. Soc. of Orange Co.; and the addresses at the dedication of the monument at Goshen (showing forty-five names of the slain), in Samuel W. Eager's Outline Hist. of Orange County.
[1375] Almon's Remembrancer, viii. 51. The Boston Gazette and Country Journal (July 27, 1778) contains a letter from Samuel Avery, July 15, 1778, giving the "disagreeable intelligence, brought by Mr. Solomon Avery, this moment returned from Wyoming, on the Susquehanna River", which says: "The informant conceives, that of about five thousand inhabitants one half are killed and taken by the enemy prisoners, and the other half fleeing away naked and distressed." The same paper (August 3) contains the Poughkeepsie account.
[1376] Botta's account is reprinted in the Penna. Register (i. 129; cf. vi. 58, 73, 310; vii. 273).
[1377] Miner, in 1806, called Judge Marshall's attention to some of the errors in his account. In 1831 the judge revived the correspondence on the subject, and expressed his intention to avail himself of the information furnished by Mr. Miner.
[1378] William L. Stone, in the Life and Times of Red Jacket, referring to his father's Life of Brant, says (p. 75): "Indeed, until this work appeared, it was universally believed that Brant and his Mohawk warriors were engaged in the massacre of Wyoming. Gordon, Ramsay, Thacher, and Marshall assert the same thing." Thacher in his account of Wyoming, under date of August 3, does not mention Brant's name, but charges the responsibility for the atrocities upon Col. John Butler.
Ramsay (ii. 323, etc.) mentions Brant's name, but does not charge upon the invaders an indiscriminate slaughter. He says the women and children were permitted to cross the Susquehanna and retreat through the woods to Northampton County. Stone claimed an alibi for Brant in his Border Wars, while Caleb Cushing (Democratic Rev.) thought the case not proved; but Stone, again, in his Wyoming, reasserted it, and Peck, in his Wyoming (3d ed., N. Y., 1868), sustains Stone. The question is also discussed by Thomas Maxwell in Schoolcraft's Indian Tribes, v. 672.
On this subject see "Letter to the Mohawk chief, Ahyonwaegho, commonly called John Brant, Esq., of the Grand River, Upper Canada, from Thomas Campbell, Jan. 20, 1822", published in the New Monthly Magazine, London, 1822 (vol. iv. p. 97).
It has been already stated that the correspondence of Guy Johnson shows that in the plan of campaign Brant's field of operations in 1778 did not include Wyoming. Gen. John S. Clark in a private note quotes from a MS. in the handwriting of Col. Daniel Claus, entitled Anecdotes of Captain Joseph Brant, 1778, a copy of which is in the possession of Hon. J. B. Plumb, of Niagara, Canada, a statement that Sakayenwaraghton led the Senecas at Oriskany (1777), and that after the battle a council was held at Canadesege, at which it was agreed that this chieftain should attack Wyoming in the early spring, and that Brant should attack the New York settlements. This MS. further says that the Indians "bore the whole brunt of the action, for there were but two of Butler's rangers killed." What is known of the life of this Seneca chieftain is given by Geo. S. Conover in his pamphlet, Sayengueraghta, King of the Senecas (Waterloo, 1885).
[1379] Ryerson in his Loyalists of America (ii. ch. 34) compares the accounts of Wyoming given by Ramsay, Bancroft, Tucker, and Hildreth, and credits Hildreth with the most accurate story. He copies Stone's account from the Life of Brant, and expresses himself in approbation of it. There is an account of the Wyoming affair in The History of Connecticut from the first Settlement to the present time, by Theodore Dwight, Jr. (New York, 1841), which is unusually full of errors. I should be strongly inclined to quote here from the pages of Murray's Impartial History of the present War, etc., to show that British opinions were as strongly pronounced in their expressions against the reported acts of Butler, and that they held the authorities who permitted him to bear a commission responsible, were it not that I find so many pages in this book identical with An Impartial History of the War in America, which was published about the same time in Boston, that I am at a loss to determine which was the original book. The two books are not in all respects the same. The one purports to be an English composition, the other an American recital. Phrases in which the enemy are alluded to in the one are reversed in the other, while topics which are elaborated in one are barely mentioned in the other; still, there are enough pages identical in the two, except for the toning down of the adjectives, to make me doubtful of the authorship of the Rev. James Murray. The bibliography of these books is examined elsewhere in this History.
[1380] In order to show what has been accepted as history on this point, I quote a portion of the account in this history, which is typical: "After the savages had completed their work of slaughter in the field, they proceeded immediately to invest Fort Kingston, in which Col. Dennison had been left with the small remnant of Butler's troops and the defenceless women and children. In such a state of weakness the defence of the fort was out of the question; and all that remained to Dennison was to attempt to gain some advantageous terms by the offer of a surrender. For this purpose he went himself to the savage chief; but that inhuman monster, that Christian cannibal, replied to the question of terms that he should grant them the hatchet. He was more than true to his word, for when, after resisting until all his garrison were killed or disabled, Col. Dennison was compelled to surrender at discretion, his merciless conqueror, tired of scalping, and finding the slow process of individual murder insufficient to glut his appetite, shut up all that remained in the houses and barracks, and by the summary aid of fire reduced all at once to one promiscuous heap of ashes. Nothing now remained that wore the face of resistance to these savage invaders but the little fort of Wilksborough, into which about seventy of Col. Butler's men had effected their retreat, as has been said. These, with about the same number of Continental soldiers, constituted its whole force, and when their enemy appeared before them they surrendered without even asking conditions, under the hope that their voluntary obedience might find some mercy. But mercy dwelt not in the bosoms of these American Tories; submission could not stay their insatiable thirst of blood. The cruelties and barbarities which were practised upon these unresisting soldiers were even more wanton, if possible, than those which had been exhibited at Fort Kingston. The seventy Continental soldiers, because they were Continental soldiers, were deliberately butchered in cruel succession; and then a repetition of the same scene of general and promiscuous conflagration took place, which had closed the tragedy at the other fort. Men, women, and children were locked up in the houses, and left to mingle their cries and screams with the flames that mocked the power of an avenging God."
[1381] Chapman's sketch, although it repeats many of the errors in the popular accounts, says that the women and children fled from the valley. It also gives a copy of the articles of capitulation at the final surrender (note ii.). This account is a long step towards the story as at present accepted.
[1382] It is also given, with other official documents, in Dawson's Battles, i. ch. 38.
[1383] This report is also given in a sketch of the life of Zebulon Butler, which forms a part of the article headed Edmund Griffin Butler, in Geo. B. Kulp's Families of the Wyoming Valley (Wilkesbarre, Pa., 1885, vol. i.).
[1384] Bancroft has necessarily treated such events briefly, but the peculiar facilities which he has enjoyed for gaining access to the papers in foreign archives give especial value to his statistics in connection with such incidents in the war as the battle of Oriskany and the destruction of Wyoming.
[1385] In the N. E. Hist. and Gen. Register (xiv. p. 265) an article, "Mrs. Skinner and the Massacre at Wyoming", by D. Williams Patterson, opens with a quotation from Col. Stone's book, and then proceeds as follows: "The above account, which was probably taken by Col. Stone from a newspaper article, published soon after the death of Mrs. Skinner, contains so many errors that it seems proper to place on record a version of the story more nearly in accordance with facts." The facts stated are of a biographical and genealogical character.
[1386] In a previous note I have reproduced one of the typical accounts of the Wyoming massacre, as the story was told by the earlier historians. The details given in accounts of that class were accepted for a long time without question. Fortunately for the good name of the human race, Butler, with all his responsibility for the wrongs done during the continuance of this border warfare, was not the inhuman wretch which he was represented to be, and the wholesale slaughter of the women and children turned out to be a pure invention. Horrors enough remain unchallenged to raise a doubt if even now all errors have been removed. I have not introduced any of these shocking stories in my narrative, but they can be found in Chapman, Miner, and Stone.
The story of the horrors of the night is told in Hubbard's Life of Van Campen in such a way as to make it seem more probable than the same story appears when read in some of the other accounts.
Among the more general accounts are those in Egle's Pennsylvania; Hollister's Connecticut, with a good account of the Connecticut colony in Pennsylvania; H. Hollister's Lackawana Valley (N. Y., 1857), following Miner closely; Stuart Pearce's Luzerne County (Philadelphia, 1860); Campbell's Tryon County, App.; Mrs. E. F. Ellet's Domestic Hist. of the Amer. Rev. (N. Y., 1850), ch. 13, and her Women of the Amer. Rev. (N. Y., 1856), ii. 165; Henry Fergus's United States in Lardner's Cab. Cyclopædia, reproducing the old erroneous accounts; and even so late a history as Cassell's United States, by Edmund Ollier, is little better. A marked instance of the heedless method of popular historians is J. A. Spencer's United States (N. Y., 1858), who seems to have followed at that late day Thacher as he found his account in Lossing, Seventeen Seventy-Six (Hist. Mag., ii. 126-128), which author reasonably complained that if he were to be trusted at all, he should have been taken in the later research of his Field-Book, or even of his school history, since Dr. Spencer was fond of quoting such authorities.
Poole's Index gives references to several periodical articles. Chief among such contributions are those in the Worcester Mag., i. 37; the reviews of Peck in the Methodist Quarterly (3d ser., xviii. p. 577, and the 4th ser., vol. xl.), and the paper in Household Words, xviii. p. 282; A. H. Guernsey in Harper's Mag., xvii. 306 (also see vii. 613); L. W. Peck in National Mag., v. 147; Erastus Brooks in the Southern Lit. Messenger, vii. 553.
The whole subject of the invasion of the valley was reviewed by Steuben Jenkins in an historical address, which is embodied in "A record of the one hundredth year commemorative observances of the battle and massacre", etc., etc., edited by Wesley Johnson (Wilkesbarre, Pa., 1882).
The bibliography of Wyoming, by H. E. Hayden, is given in the Proc. of the Wyoming Valley Hist. and Geol. Soc. (1885).
[1387] There are contemporary letters in the Hist. Mag., x. 172.
[1388] The story of Cherry Valley is one of the numerous incidents connected with the border war included in the Historical Collections of the State of New York, edited by John W. Barber and Henry Howe (New York, 1845). Such accounts in this work are generally transferred bodily from Campbell or Stone, but occasionally some old newspaper cutting is reproduced. At the celebration in 1840, addresses were made by William W. Campbell and by William H. Seward. They were published in pamphlet form, and Mr. Campbell printed his own address as a note to the 2d edition of the Annals of Tryon County.
The speeches made at centennial anniversary in 1878 were published in the Centennial Celebration of the State of New York (Albany, 1879). The main address was delivered by Major Douglass Campbell (p. 359). Cf. H. C. Goodwin's Cortland County (N. Y., 1859); Dawson's Battles, i. ch. 45; Lossing's Field-Book, i. 268, 297.
[1389] Ibid., Jan. 4, 1779, has a letter from Cherry Valley, dated Nov. 24, 1778.
[1390] See Proc. Mass. Hist. Soc., 1886. One hundred copies of McKendry's journal were privately printed from these proceedings in 1886, with the title,—1779. Sullivan's Expedition against the Indians of New York, edited by the writer of this chapter.
[1391] See note E, at the end of this chapter.—Ed.
[1392] In a note, vol. iii. p. 312, he says: "Sullivan in his account says forty: but if a few old houses which had been deserted for years were met with and burnt, they were put down for a town. Stables and wood hovels and lodges in the field, when the Indians were called to work, these were all reckoned as houses." He charges that Sullivan was importunate in absurd demands for supplies, and amongst other things called for eggs to take upon his Indian campaign. This statement of Gordon undoubtedly rests upon something which he had seen in print. Is it not probable that his prejudice prevented him from seeing the humor in a newspaper squib inserted by some wag, in which Sullivan's slow movements and pertinacious demands for supplies are thus ridiculed? Cf. Eben Hazard in Belknap Papers, i. 23. The writers of "Allen's History" follow the same lead. "He lived during the march in every species of extravagance, was constantly complaining to Congress that he was not half supplied, and daily amused himself in unwarrantable remarks to his young officers respecting the imbecility of Congress and the board of war" (Allen's Amer. Rev., ii. 277). Bancroft (x. 231) speaks of Sullivan as "wasting his time writing strange theological essays", and gives him credit for destroying only "eighteen towns."
[1393] The attendant controversies touching Sullivan's career as a soldier and a legislator are examined in another place in this History, but reference may be here made to T. C. Amory's paper on this expedition in the Mag. Amer. Hist., iv. 420, and to another on the same subject in the Mass. Hist. Soc. Proc., xx. 88.
[1394] Quotations from Haldimand's correspondence and speeches are given elsewhere. The openness of Clinton's movements seemed to Washington such a complete betrayal of the whole scheme that on the 1st of July he wrote to Sullivan that Clinton "had transported, and by last accounts was transporting, provisions and stores for his whole brigade three months, and two hundred and twenty or thirty batteaux to receive them; by which means, in the place of having his design concealed till the moment of execution, and forming his junction with you, in a manner by surprise, it is announced" (Sparks's Washington, vi. p. 281). During the whole of this hazardous proceeding Clinton was not molested, nor did Haldimand seem to derive any conception of what it meant. Yet Washington was so far right in saying that the intention of the movement was "announced" that on the 5th of July the following appeared in the Boston Gazette and Country Journal: "The stores are all arrived, and the greatest exertions are made by Gen. Clinton to transport them unto Lake Otsego, over a carrying-place of about thirty miles. Everything will be then ready to go down the Susquehanna and join Gen. Sullivan."
[1395] The latest official figures given by Sullivan are those of July 21st,—2,312 rank and file; the entire number given in the report footing up, according to Craft, 2,539. In the same estimate, Craft puts Clinton's force at 1,400, and the total marching column at 3,100 to 3,200 men. It was promised by Washington that Lieut.-Col. Pawling should join Clinton at Anaguaga with 200 men (Sparks's Washington, vi. p. 275). Stone says Clinton was joined at "Oghkwaga" by a detachment of Col. Pawling's levies from Wawarsing (Brant, ii. p. 18). Peabody in his Life of Sullivan makes the same statement. Bleeker in his order-book makes no mention of Pawling's regiment. Erkuries Beatty, August 16th, says: "Major Church marched to meet the militia here. Returned in the evening and saw nothing of them" (Cayuga Co. Hist. Soc. Coll. no. i. p. 64). McKendry in his journal corroborates this statement (Sullivan's Expedition against the Indians, p. 30). In a letter (Aug. 24, 1779) from Gen. Clinton to his brother, contained in the Sparks collection, the general states that the expected reinforcement by Pawling was not effected. Geo. Clinton papers—Sparks MSS., no. xii. (Harvard Col. library).
[1396] Washington in his instructions to Sullivan had insisted that Sullivan should dispense with everything possible, on the ground that the delays incident to the transportation of a great bulk of stores might balk the expedition (Sparks, vi. 264; Hist. Mag., xii., Sept., 1867, p. 139). He was indignant when he heard that Clinton had taken to great a quantity of stores with him. Referring to this, Sullivan wrote to Clinton, July 11, 1779 saying "Gen. Washington has wrote to me as he has to you, but I have undeceived him by showing him that in case you depended on our magazines for stores we must all starve together, as the commissaries have deceived us in every article" (Bleeker's Order-book, p. 15). Lt.-Col. Adam Hubley wrote to the President of Pennsylvania: "Our expedition is carrying on rather slow, owing to the delay in provisions, etc. I sincerely pity Gen. Sullivan's situation. People who are not acquainted with the reasons of the delay, I'm informed, censure him, which is absolutely cruel and unjust" (Penna. Archives, vii. p. 554). "The long stay at Wyoming was owing to the infamous conduct of the commissaries and quartermasters employed in furnishing the necessary provisions and stores. And finally, when the army did move, it was so scantily supplied that the success of the expedition is by that means rendered exceedingly precarious" (Diary of Jabez Campfield, surgeon, etc., N. J. Hist. Soc. Coll., 2d Series, iii. p. 118). "Various opinions prevailed about our proceeding any further on account of our provisions" (Hubley, in Miner's History, App., p. 97).
[1397] Sullivan to Col. John Cook, July 30, 1779: "Nothing could afford me more pleasure than to relieve the distressed, or to have it in my power to add to the safety of your settlement; but should I comply with your requisition, it would most effectually answer the intentions of the enemy, and destroy the grand objects of this expedition" (Penna. Arch., vii. p. 593).
[1398] "We converted some old tin kettles, found in the Indian settlements, into large graters, and obliged every fourth man not on guard to sit up all night and grate corn, which would make meal, something like hominy. The meal was mixed with boiled squash or pumpkin, when hot, and kneaded into cakes and baked at the fire" (Nathan Davis, in Hist. Mag., April, 1868, p. 203).
[1399] Adam Hubley says 500 savages, 200 Tories (Miner's History, Appendix, p. 93); Daniel Livermore says 600 chosen savages (N. H Hist. Soc. Coll., vi. p. 308); Lieut. Barton, 200 whites, 500 Indians (N. J. Hist. Soc. Proc., ii. p. 31); Daniel Gookin, 600 Indians, 14 regulars, 200 Tories (N. E. Hist. and Gen. Reg., xvi. p. 27); Jabez Campfield, 1,000 strong, 300 or 400 of whom were Tories (N. J. Hist. Soc. Proc., iii. 2d Series, p. 124); George Grant, 1,500 (Hazard's Reg., xiv. p. 74); Major Norris, 1,500 Indians (Jones's New York, vol. ii. p. 613); Gen. Sullivan, 1,500 (Remembrancer, ix. p. 158); Rev. David Craft, after a study of the subject, estimates the force at 200 to 250 whites, and probably not less than 1,000 Indians (Centennial Celebration, etc., p. 127, note). Cf. Mag. Amer. Hist., iv. 420, and F. Barber's letter in Sparks MSS., xlix. vol. iii.
[1400] Dr. Campfield says: "The Indian houses might have been comfortable had they made any convenience for the smoke to be conveyed out; only a hole in the middle of the top of the roof of the house. The Indians are exceedingly dirty; the rubage of one of their houses is enough to stink the whole country" (N. J. Hist. Soc. Proc., iii., 2d Series, p. 132). Erkuries Beatty, speaking of the houses at Onoguaga, says that they were good log houses, with stone chimneys and glass windows (Cayuga Hist. Soc. Coll., no. i. p. 64). Van Campen says that the houses were generally built by fixing large posts in the ground, at a convenient distance from each other, between which poles were woven. This formed the covering of the sides. The roof was made by laying bark upon poles, which were properly placed as a support. To afford greater warmth the sides were plastered with mud. The houses that were found on the route were all of this description (John N. Hubbard's Border Adventures of Major. Moses Van Campen, Bath, N. Y. 1842). "They were built chiefly with split and hewn timbers, covered with bark and some other rough materials, without chimneys or floors" (Norris in Jones's New York, ii. p. 613). Col. Dearborn (MS. Journal) uses almost identical language with Norris. "Newtown—here are some good buildings of the English construction" (Capt. Daniel Livermore, in N. H. Hist. Coll., vi. pp. 308-335). The huts or wigwams were constructed of bark, and very narrow in proportion to their length, some being thirty or forty feet long, and not more than ten feet wide, generally with a bark floor, except in the centre, where there was a place for the fire (Nathan Davis, in Hist. Mag., April, 1868, p. 202). According to Hubley, Chemung contained fifty or sixty houses built of logs and frames; Catharine's town, fifty houses, in general very good; Canadea, about forty well-finished houses, and everything about it seemed neat and well improved; Kanadalauga, between twenty and thirty well-finished houses, chiefly of hewn plank; Anayea, twelve houses, chiefly of hewn logs (Penna. Archives, 2d Series, vol. xi.). Nukerck describes the houses at "Kandaia" as "large and elegant; some beautifully painted" (Campbell, Annals Tryon County, p. 155); speaking of "Kanandagua", he says: "This town, from the appearance of the buildings, seems to have been inhabited by white people. Some houses have neat chimneys, which the Indians have not, but build a fire in the centre, around which they gather" (Ibid. p. 157). McKendry speaks of the "cellars and walls" of the houses at "Onnaguago", and says it was a "fine settlement, considering they were Indians." This place had been destroyed fifteen years before by Capt. Montour, and Sir William Johnson then described it as having houses "built of square logs, with good chimneys" (N. Y. Col. Docs., vii. p. 628). McKendry says some of the houses at "Appletown" were of "hew'd timber." At "Canondesago", some of them built with hewed timber and part with round timber and part with bark.
[1401] Hildreth and others speak of Niagara as if it were Sullivan's objective point. John C. Hamilton (History of the Republic, i. p. 543) says: "Instructions from Hamilton's pen were addressed to Sullivan", etc. (p. 544). "A surprise of the garrison at Niagara and of the shipping on the lakes was to be attempted." By whom was Niagara to be surprised? Hamilton leaves it to be inferred that Sullivan was instructed to attempt it, whereas it was only mentioned as one of the possible advantages to be gained from the Indians in case they should sue for peace.
[1402] Washington's letters in Sparks, and in Mag. Amer. Hist., Feb., 1879, p. 142.
[1403] Ryerson in his Loyalists of America, etc., devotes a chapter to the Sullivan campaign, which he terms "Revenge for Wyoming." He confounds Zebulon Butler with William Butler, which is not perhaps to be wondered at, for Campbell and Stone did the same thing, although the fact that there were two English officers of the name of Butler engaged in the border wars on the English side, and two American officers of the same name opposed to them in the same campaigns, and the further fact that at Wyoming the forces on each side were commanded by a Butler, were warnings enough that especial scrutiny should be observed in distinguishing these persons.
[1404] General Stryker (p. 7) gives Clinton's force at 1,700, and Sullivan's at 3,500. He states that his account was compiled from twenty published (by typographical error, the compositor has put thirty) and five unpublished diaries. He suggests that Sullivan's delay may possibly have been a part of Washington's strategy. T. C. Amory shares this opinion.
Sullivan's fight at Newtown is thus described by H. C. Goodwin in Pioneer History of Cortland Co., etc.: "The contest was one which has but few parallels. The enemy yielded inch by inch, and when finally forced at the point of the bayonet to leave their intrenchments and flee, terror-stricken, to the mountain gorges or almost impassable lagoons, the ground they had occupied was found literally drenched with the blood of the fallen victims." Accounts of varying length are given in other local histories: Delaware County and Border Wars of New York, etc., by Jay Gould (Roxbury, 1856); Centennial History of Erie County, New York, by Crisfield Johnson (Buffalo, 1876); Annals of Binghamton and of the Country connected with it, from he earliest settlement, by J. B. Wilkinson (Binghamton, 1840); History of the Pioneer Settlement of Phelps and Gorham's Purchase, and Morris reserve, etc., by O. Turner (Rochester, 1851); J. M. Parker's Rochester (1884, p. 236); Ketchum's Buffalo (ii. 318); Campbell's Tryon County; Simms's Frontiersmen, etc.
There is a monograph on the campaign by A. T. Norton,—Hist. of Sullivan's Campaign (1879),—and special chapters in Dawson (i. 537), and accounts in the more general works, like Stone's Brant; Ryerson's Loyalists (ii. 108), examining Stone's account; O. W. B. Peabody's Life of Sullivan; Hamilton's Republic of the U. S.; some local traditions in Timothy Dwight's Travels (iv. 204). Gen. J. Watts De Peyster has some essays on the campaign in the N. Y. Mail, Aug. 26, 29, and Sept. 15, 1879.
There are various letters respecting the campaign in the Gansevoort Papers, as copied by Sparks (Sparks MSS., vol. lx.). Cf. the autobiography of Philip van Cortlandt in Mag. of Amer. Hist., ii. 289, and William M. Willett's Narrative of the military actions of Col. Marinus Willett (N. Y., 1831).
[1405] The New Jersey Historical Society has a MS. order-book kept by Lieutenant-Colonel Barber, of the Third New Jersey Regiment, who was also appointed deputy adjutant-general for the Western army. The last entry made is dated Sept. 6, 1779. In Hammersly, and in the roster compiled by General Stryker, Francis Barber is put down as lieutenant-colonel of this regiment. This order-book has been attributed by some to George C. Barber. The library of Cornell University owns one kept by Thomas Gee, quartermaster's sergeant in Col. John Lamb's regiment of artillery, which contains the orders of the day issued at Fort Sullivan from Aug. 27, 1779, to Oct. 2, 1779 also the return march to Easton, the last entry being Oct. 26, 1779. My knowledge of these MS. order-books was derived from Gen. John S. Clark, of Auburn, N. Y. I am indebted to Hon. Steuben Jenkins for details concerning the Barber order-book, and to Professor Moses Coit Tyler, of Cornell University, for a description of the Gee order-book. Dr. F. B. Hough edited the Order-book of Capt. Leonard Bleeker, major of brigade in the early part of the expedition under Gen. James Clinton against the Indians in the Campaign of 1779 (N. Y., 1865). On Clinton's share in the expedition, see W. W. Campbell's Services of James Clinton (N.Y. Hist. Soc., 1839); Chaplain Gano's Biog. Memoirs (1806). For a portrait of Clinton, see Irving's Washington, 4o ed., v., and Lossing's Field-Book, ii. 112.
[1406] Craft, May 9, 1879, had already furnished a list of journals of the campaign, and had appealed to the public for further information (Penna. Mag. of Hist., iii. pp. 348, 349).
[1407] See note E, at end of chapter.—Ed.
[1408] The journals thus used are Erkuries Beatty's, covering Clinton's movements; Thomas Grant's and George Grant's, covering the march up the east side of Lake Cayuga; and Henry Dearborn's, for the march up the west side of the same lake.
[1409] Boston Gazette and Country Journal, Nov. 1, 1779.
[1410] The expedition is referred to by Gordon, Ramsay, and Marshall, each of these writers giving a brief account of the march and the work accomplished. On the 27th of October, 1779, Congress resolved that "the thanks of Congress be given to his excellency General Washington for directing, and to Colonel Brodhead and the brave officers and soldiers under his command for executing, the important expedition against the Mingo and Munsey Indians, and that part of the Senecas on the Allegheny River, by which the depredations of those savages, assisted by their merciless instigators, subjects of the King of Great Britain, upon the defenceless inhabitants of the Western frontiers have been restrained and prevented."
[1411] A descriptive article entitled "Mohawk Valley in the Revolution", by Harold Frederic, was published in Harper's Magazine (lv. p. 171). Cf. Mag. of Amer. Hist., Oct., 1879. The activity of the Tories and Indians in the Mohawk Valley gave rise from time to time to various rumors, some of which found their way into print. It was stated in 1779 that Fort Stanwix had surrendered to the English. This was repeated in a pamphlet of the day, a mere chronological register of events, published in 1783, and entitled The American and British Chronicle of War and Politics; being an accurate and comprehensive Register of the most memorable occurrences in the last ten years of his Majesty's reign, etc. From May 10, 1773, to July 16, 1783. The entry of Nov. 2, 1779, was, "Col. Butler, with some Indians, surprise and take Fort Stanwix, Mohawk River." In 1780 this rumor was repeated, and found its way into the Remembrancer (x. 347): "New York, Sept. 23.... We are informed that about a fortnight ago Fort Stanwix, after having been five or six weeks closely invested, was taken by 600 British troops commanded by a Lieutenant-Colonel, supposed to be the King's or 8th Regiment: Our faithful friend, Capt. Joseph Brant, with a party of Indians, shared in the glory of the conquest."
Occasionally we meet, in the accounts of the fighting in the Mohawk Valley and vicinity, with the statement that some Indian was present who was commissioned by the Continental Congress. In the Journals of Congress (v. 133) we find that on the 3d of April, 1779, the board of war submitted a report, whereupon it was resolved, "That twelve blank commissions be transmitted to the commissioners of Indian affairs for the Northern Department, and that they or any two of them be empowered to fill them up with the names of faithful chiefs of the Oneidas and Tuscaroras, giving them such rank as said commissioners shall judge they merit." (Cf. Remembrancer, viii. p. 121)
[1412] Stone relied upon the statement of John T. Kirkland (Mass. Hist. Soc. Coll., iv. p. 69): "In the year 1780, the hostile Indians, British troops, and refugees drove them from their villages", etc.
[1413] Sparks MSS. (Harvard College library,—no. xiii. p. 281), where are various letters of John Butler, Brant, Lt.-Col. Bolton, etc., taken from the headquarters or Carleton Papers, and they include Brant's report on the Minisink affair and Butler's report of the Newtown fight. The letter of Guy Johnson is in Ketchum's Buffalo (i. 337).
[1414] As early as 1774 the minds of the colonists were turned inquiringly towards this question. Joseph Reed wrote on Sept. 25, 1774, to the Earl of Dartmouth, that "the idea of bringing down the Canadians and savages upon the English colonies is so inconsistent, not only with mercy, but justice and humanity of the mother country, that I cannot allow myself to think that your lordship would promote the Quebec Bill, or give it your suffrage, with such intention" (Reed's Reed, i. p. 79). The "full power to levy, arm, muster, command, and employ all persons whatsoever residing within our said province", and to "transport such force to any of our plantations in America", with which Carleton was commissioned, was but a renewal of the authority conferred upon James Murray in 1763 (Parl. Reg., iv., App., "The New Commission of the Governor of Quebec", etc., pp. 8, 26). The same language was used in the commission of Sir Danvers Osborn, Bart., to be captain-general of New York in 1754 (Ibid. p. 48). In the XV. section of the charter granted by Charles II. to the Lords Proprietors of South Carolina, the grantees were authorized to levy, muster, and train "all sorts of men, of what condition, or wheresoever born", and to pursue enemies, "yea, even without the limits of the said province" (Ibid. p. 64). The clause is repeated in the second charter of Charles II. to the Lords Proprietors of Carolina (Ibid. p. 79). Lord Baltimore was authorized by Charles I. with the same general powers to levy and arm, and "to make war and pursue the enemies and robbers aforesaid, as well by sea as by land, yea, even without the limits of the said province, and (by God's assistance) to vanquish and take them." (Cf. The Federal and State Constitutions, Colonial Charters, etc., Washington, 1877, part ii. p. 1388, "Charter of Carolina, 1663, § 15.")
[1415] Samuel Kirkland was born at Norwich, Conn., Dec. 1, 1744; graduated at Princeton, 1765; became a missionary among the Indians. The hostility of Guy Johnson bore testimony to the influence of the missionary among the natives. Kirkland was afterward a chaplain in the army. In 1789 he received a grant of land two miles square, now the town of Kirkland, N. Y. He died in 1808. His life, by S. K. Lothrop, was published in Sparks's American Biography.
James Deane was born at Groton, Conn., Aug. 20, 1748; graduated at Dartmouth in 1773; and then went as missionary among the Indians. He was employed to pacificate the Northern Indians, and acted as interpreter on many important occasions. He was afterward a judge in Oneida County, N. Y., where he died in 1823. He was much esteemed. Gov. Trumbull said: "The abilities and influence of Mr. Deane to attach the Six Nations to the interest of these colonies is an instance of Divine favor."
[1416] See incidents of this border warfare in James Banks's Hist. Address (Fayetteville, N. C., 1859).
[1417] The rank of this officer is sometimes given as colonel. The expedition is stated by Haywood, in his History of Tennessee, to have been led by Col. Leonard McBury. Capt. Leonard Marbury, who at that time commanded a company under Major Jack, is probably the officer referred to.
[1418] The experience of South Carolina in these border wars is exemplified in Alexander Gregg's History of the old Cheraws: containing an account of the aborigines of the Pedee, the first white settlements, their subsequent progress, civil changes, the struggle of the revolution, and growth of the country afterward; extending from about A. D. 1730 to 1810, with notices of families and sketches of individuals (N. Y., 1867).—ED.
[1419] In a letter from Col. Charles Robertson, trustee of the Watauga Association, to his excellency Richard Caswell, etc., April 27, 1777, it is stated that on the 27th of March last Col. Nathaniel Guess brought letters from the governor of Virginia soliciting the Indians to come in to treat for peace. The Indians, in reply to pressure brought to bear upon them, said "they could not fight against their Father King George", etc. (Ramsey's History of Tennessee, p. 171).
[1420] Calendar of Virginia State Papers, i. 415.
[1421] See Vol. V. p. 280.
[1422] The definitive treaty is in Hansard, xv. (1753-65) p. 1291; Lond. Mag., 1763, p. 149; and the preliminary articles signed at Fontainebleau, Nov. 3, 1762, are in Hansard, xv. p. 1240; Lond. Mag., 1762, p. 657. There are in the archives of the Dept. of Foreign Affairs in Paris several vols. (nos. 444-449) of papers respecting the negotiation between France and England which led to the treaty of 1763. Cf. Report, 1874, on the Canadian archives. Cf. Vol. V. 614.—Ed.
[1423] See Parkman's Montcalm and Wolfe, ii. 383-413; Green's Hist. of the English People (Lond., 1880), iv. 193; Macaulay's "Earl Chatham", Ed. Rev., lxxx. 549, also in his Essays; Olden Time, i. 329. Cf. Vol. V. ch. viii.—Ed.
[1424] "The treaty of cession to Spain was never published, and the terms of it remain a secret to this day" (Stoddard's Louisiana, 1812, p. 72).
[1425] Monette, Discovery and Settlement of the Valley of the Mississippi (New York, 1848), vol. i., has a map showing the territorial possessions before the treaty. For later maps showing the treaty lines, see Vol. V. p. 615.—Ed.
[1426] The Duc de Choiseul, in conducting the negotiations on the part of France, suggested that the English colonies would not fail to shake off their dependence the moment Canada should be ceded (Parkman's Montcalm, ii. 403); and Kalm, the Swedish botanist, who visited America in 1748-49, made a similar prediction in his Travels: "The English government has, therefore, the sufficient reason to consider the French in North America as the best means of keeping the colonies in their due submission" (London, 1772, i. 207). As to the spurious Montcalm letters, see Vol. V. p. 606.—Ed.
[1427] A satirical article on restoring Canada to the French appeared in Gentleman's Mag., 1759, p. 620, which has the flavor of Dr. Franklin's style: "Canada ought to be restored in order that England may have another war; that the French and Indians may keep on scalping the colonists, and thereby stint their growth; for otherwise the children will be as tall as their mother; that, though we ought to keep faith with our allies, it is not necessary with our children. We must teach them, according to Scripture, not to 'put trust in princes.' Let 'em learn to trust in God. If we should not restore Canada, it would look as if our statesmen had courage like our soldiers. What have statesmen to do with courage? Their proper character is wisdom." Franklin's serious and avowed tract is considered in Vol. V. p. 615.—Ed.
[1428] This document is in the London Mag., 1763, p. 541; Amer. Archives, 4th ser., i. 172, and in other places [given in Vol. V. p. 615.—Ed.] Its terms were the subject of constant reference and discussion for the next twenty years.
[1429] "Many reasons may be assigned for this apparent omission. A consideration for the Indians was, we presume, the principal, because it might have given a sensible alarm to that people if they had seen us formally cantoning out their whole country into regular establishments" (Annual Register, 1763, p. 20). The writer of the very able and interesting political articles in this volume was Edmund Burke (Robertson's Burke, p. 18).
[1430] Sparks's Franklin, iv. 303-323. Dr. Franklin made an extended and vigorous reply to this report (Idem, iv. 324-374); and when the matter came up for action in the Privy Council, and his reply was read, the prayer of the petitioners was granted. Lord Hillsborough was so much offended by the decision that he resigned. The Doctor, writing to his son, July 14, 1773, said: "Mr. Todd told me, as a secret, that Lord Hillsborough was much chagrined at being out of place, and could never forgive me for writing that pamphlet against his report about the Ohio" (Works, viii. 75).
[1431] See ante, chap. i.
[1432] Sir William Johnson, the superintendent of Indian affairs, writing to Secretary Conway, June 28, 1766, said: "Our people in general are very ill calculated to maintain friendship with the Indians, they despise in peace those whom they fear to meet in war. This, with the little artifices used in trade, and the total want of that address and seeming kindness practiced with such success by the French, must always hurt the colonists. On the contrary, could they but assume a friendship, and treat them with civility and candor, we should soon possess their hearts, and much more of their country than we shall do in a century by the conduct now practiced" (N. Y. Col. Doc., vii. 836). The outrageous conduct of the English traders towards the Indians is a constant theme of complaint by Sir William Johnson in his letters to the Lords of Trade (see Idem, vii. 929, 955, 960, 964, 987). He speaks (vii. 965) of the contrast between the French and English traders. The former are gentlemen in character, manners, and dress; the latter, "for the most part, men of no zeal or capacity; men who often sacrifice the credit of the nation to the basest purposes. Can it otherwise happen but that the Indians' prejudices must daily increase, when they are on the one side seduced by men of abilities, influence, and address; and on the other, see such low specimens of British abilities, honor, and honesty? What, then, can be expected but loss of trade, robbery, murder of traders, and frequent general ruptures?" See also Diary of Siege of Detroit, ed. by Hough, preface, xiii., and Dr. Hall's tract on The Dutch and the Iroquois.
[1433] Sir William Johnson, writing Dec. 26, 1764, to the Lords of Trade, said: "Indeed, it is not to be wondered that they should be concerned at our occupying that country, when we consider that the French (be their motive what it will) loaded them with favors, and continue to do so, accompanied with all outward marks of esteem, and an address peculiarly adapted to their manners, which infallibly gains upon all Indians who judge by externals only; and in all their acquaintance with us [the English] upon the frontiers, have never found anything like it; but, on the contrary, harsh treatment, angry words, and, in short, everything which can be thought of to inspire them with a dislike for our manners and jealousy of our views. I have seen so much of these matters, and am so well convinced of the utter aversion our people have for them in general, and of the imprudence with which they constantly express it, that I absolutely despair of ever seeing tranquillity established until I may have proper persons to reside at the posts, whose business it shall be to remove their prejudices, and whose interests it becomes to obtain their esteem and friendship" (N. Y. Col. Doc., vii. 689).
[1434] Cf. Major Robert Rogers's Concise Account, 1765, pp. 240-243. It was the opinion of Rogers that if the English had used common sagacity in their treatment of Pontiac, the colonies would have been spared the horrors of the Pontiac War.
[1435] The fort at Detroit was a stockade on the west side of the Detroit River, twenty-five feet high, with a bastion at each corner, and a block-house over each gateway, the whole enclosing about a hundred small houses. A few pieces of light artillery were mounted on the bastions. The garrison consisted of eight officers, one hundred and twenty soldiers, and forty-five fur traders, under the command of Major Henry Gladwin, an experienced and gallant officer. Two small armed schooners were anchored in the stream. The white cottages of the Canadian farmers lined both banks of the river. About a mile below the fort, on the western bank, was a village of the Pottawattamies, and on the opposite shore a Wyandot village. Four miles above the fort were the lodges of the Ottawas (Parkman's Pontiac, i. 212-222). Parkman's, Conspiracy of Pontiac is one of the most entertaining monographs in American history; and no writer can treat the subject without acknowledging his indebtedness to the accurate and scholarly investigations of that distinguished historian. The reader of this brief summary of events will find full details in the charming narrative of Parkman. He says of the Bouquet and Haldimand Papers, in the British Museum, that they contain "several hundred letters from officers engaged in the Pontiac War, some official, others personal and familiar." These he availed himself of in his last revision (1870), but he had collected 3,400 MS. pages of unprinted documents for his original edition (1851). All these MS. collections are now in the library of the Mass. Hist. Society.—Ed.
[1436] A biographical notice of Major Gladwin (who became major-general in 1782) by Dr. O'Callaghan is in N. Y. Col. Doc., vii. 961. Parkman spells the name "Gladwyn." Detroit was now the chief post of this new Northwestern government. Amherst, in a letter to Egremont, Nov. 30, 1762, had recommended the place as the proper headquarters (Shelburne Papers, vol. 48, Hist. MSS. Com. Report, v. 217).—Ed.
[1437] See plan in Vol. V. p. 532.
[1438] Some years later, an Indian who was present described the scene to Sir William Johnson. A party of Senecas gained admission to the fort by treachery, and murdered all the garrison except the commander, and him they later put to death by roasting over a slow fire (Parkman, ii. 20).
[1439] Capt. Simeon Ecuyer was in the English service during the Revolutionary War, and is mentioned with high terms of praise, as "Major" Ecuyer, in "Journal of the most remarkable Occurrences in Quebec, from Nov. 14, 1775, to May 7, 1776" (N. Y. Hist. Soc. Coll., 1880, p. 232).
[1440] A biographical sketch (in French) of Col. Bouquet, by C. G. F. Dumas, is prefixed to the Amsterdam edition, 1769, of Bouquet's second expedition, 1764. The same (in English) is prefixed to Robert Clarke's reprint in the Ohio Valley Series, 1868. A different and fuller translation of Dumas's sketch is in Olden Time, i. 203, and is preceded (p. 200) by a sketch by another writer. George H. Fisher, in Penna. Mag., iii. 121-143, gives the life, with an excellent portrait, of Col. Bouquet, and his letters to Anne Willing, a young lady with whom he had tender relations, but whom he did not marry. J. T. Headley, in Harper's Mag., xxiii. 577 (Oct., 1861), has an illustrated article on Col. Bouquet. The Bouquet Papers, 1757-1765, were given by the heirs of Gen. Haldimand, in 1857, to the British Museum. There is a synopsis of them in Brymner's Report on the Canadian Archives, 1873.—Ed.
[1441] Brymner, the Canadian archivist, in examining the papers in the Public Record Office in London, was denied access to the volume of the "America and West Indies" series, which contains the correspondence of Amherst, Jan.-Nov., 1763.—Ed.
[1442] Sir Wm. Johnson (N. Y. Col. Doc., vii. 962) gives the number of men in Bouquet's command as 600.
[1443] He soon found that even they had the bad habit of losing themselves in the woods. He wrote to Amherst, July 26th: "I cannot send a Highlander out of my sight without running the risk of losing the man, which exposes me to surprise from the skulking villains I have to deal with" (Parkman, ii. 56).
[1444] The reports of Colonel Bouquet to General Amherst, Aug. 5th, 6th, and 11th, give the losses in both actions as 50 killed, 60 wounded, and 5 missing (Gent. Mag., 1763, p. 486; Lond. Mag., 1763, p. 545; Mag. of Western Hist., ii. 650; Annual Register, 1763, p. 31). Parkman (ii. 68) makes the losses "8 officers and 115 men." The officers were included in the above enumeration. Of the losses by the Indians, General Amherst wrote (Gent. Mag., 1763, p. 489): "The number of the savages slain was about 60, and a great many wounded in the pursuit. The principal ringleaders who had the greatest share in fomenting the present troubles were killed." As to the number of Indians engaged, Sir William Johnson (N. Y. Col. Doc., vii. 962) states on the best authorities of white men who were with the Indians, and of several different Indians, who all agree, that the true number of Indians who attacked Colonel Bouquet at Bushy Run was only ninety-five. This statement seems hardly probable, in view of the number killed and the accounts given by the officers engaged.
[1445] "His Majesty has been graciously pleased to signify to the commander-in-chief his royal approbation of the conduct and bravery of Col. Bouquet and the officers and troops under his command in the actions of the 5th and 6th of August" (General Orders from headquarters in New York, January 5, 1764).
An excellent description of Bouquet's expedition of 1763 and of the battle of Bushy Run is in Annual Register, 1763, pp. 27-32. It was doubtless written by Edmund Burke from authentic information furnished by some of the officers engaged. Another account is in the introduction to Bouquet's second expedition of 1764, in which the writer (Dr. William Smith) uses freely the account in the Annual Register. Cf. T. J. Chapman on the siege of Fort Pitt in Mag. of Western Hist., Feb., 1886.
[1446] See Parkman's Pontiac, i. 305-317; Annual Register, 1763, p. 26; and General Amherst's report in Gent. Mag., 1763, p. 486; Lond. Mag., 1763, p. 543; Mag. of West. Hist., ii. 648. He concludes his detailed "Return of killed and wounded" with "Total, 19 killed and 42 wounded." The name of Captain Dalzell, whom he had previously reported as killed, is not included in the return, and the wounded named number only 39. The Annual Register gives the loss as "only seventy men killed, and about forty wounded"!
[1447] An orderly-book of Bradstreet's campaign, June-Nov., 1764, is in the library of the American Antiquarian Society.
[1448] Bradstreet sent Capt. Thomas Morris on a mission to Pontiac, and an account of Morris's experience and his capture by the Indians is given in his Miscellanies in prose and verse (London, 1791). See Field, Ind. Bibliog., no. 1,095, and Thomson's Bibliog. of Ohio, no. 854. Morris's original journal, sent to Bradstreet, is in the Public Record Office, London. He extended the copy from which he printed. A letter from Morris to Bradstreet is among the papers of Sir William Johnson in the State Library at Albany (Parkman, ii. 195). The Parkman MSS. (Mass. Hist. Soc.) have minutes of the council held by Bradstreet with the Indians at Detroit, Sept. 7, 1764, and the Shelburne Papers (vol. 50) show similar records (Hist. MSS. Com. Rept., v. 218).—Ed.
[1449] Sir William Johnson (N. Y. Col. Doc., vii. 686), writing to the Lords of Trade, Dec. 26, 1764, and having spoken with much severity of Bradstreet's bad management of his expedition, says: "On the other hand, Col. Bouquet, under all the disadvantages of a tedious and hazardous land march with an army little more than half that of the other, has penetrated into the heart of the country of the Delawares and Shawanese, obtained above two hundred English captives from amongst them, with fourteen hostages for their coming here [Johnson Hall] and entering into a peace before me in due form; and I daily expect their chiefs for that purpose." A touching account of the English captives, the reluctance of some of them to part from their captors and savage life, and the joy of others again to meet their relatives, is in Dr. Smith's Historical Account, pp. 75-80 (ed. 1868), and in Parkman, ii. 231-240. An engraving, after Benj. West, representing the delivery of the English captives at the forks of the Muskingum, is in some of the editions (p. 72) of the Historical Account, described in a following note.
[1450] Cf. a paper on the forks of the Muskingum in the Mag. of West. Hist., Feb., 1885, p. 283.
[1451] Pennsyl. Mag., iii. 134. An obituary notice of him appeared in the Pennsyl. Journal, Oct. 24, 1765. In the Haldimand Coll. (Canadian Archives), p. 21, appears: "June 5, 1765. Bouquet waiting for a vessel to Florida. Nov. 17. Gen. Gage appoints Lieut.-Col. Taylor to act as Brig.-Gen. in room of Brig. Bouquet, deceased." Among army promotions, in Gent. Mag., Jan., 1766, is "Aug. Provost, Esq., Lieut.-Col. of the 60th Reg., in room of H. Bouquet, deceased."
[1452] An Historical Account of the Expedition against the Ohio Indians in the Year 1764, under the command of Henry Bouquet, Esq., Colonel of Foot, and now Brigadier-General, appeared from the press of William Bradford, Philadelphia, in 1765 (Wallace's William Bradford, p. 85). The authorship has been ascribed by Rich, Allibone, and others to Thomas Hutchins, later geographer of the United States; but it is now known that the writer was Dr. William Smith, Provost of the College of Philadelphia. It is a quarto, pp. xiii+71, with three maps by Thomas Hutchins, Asst. Engineer, viz.: (1) "Map [of the route of Col. Bouquet's expedition of 1763, and] of the country on the Ohio and Muskingham Rivers; also, on the same sheet, separated by a line, a map of the country traversed in his expedition of 1764;" (2) plan of the Battle of Bushy Run; and (3) the order of march. The work has been several times reprinted: (I.) In London, 1766, 4o, pp. xiii+71, with the plates named reëngraved, and two additional plates inserted, after designs by Benj. West, viz.: (4) conference of Indians with Col. Bouquet, engraved by Gregnion; and (5) Indians delivering up the English captives to Col. Bouquet, engraved by Canot (II.) At Amsterdam, 1769, 8o, pp. xvi+147+ix, a French translation, with the same plates very neatly reëngraved, the two maps on the first plate being engraved separately, making in all six plates. (III.) At Dublin, 1769, by John Millikin, pp. xx+99, no plates. (IV.) In Olden Time, i. 203-221, 241-261, no plates. (V.) In the Ohio Valley Series, Cincinnati, 1868, with preface by Francis Parkman, and photo-lithographic copies of the plates in the London edition. The last two editions have translations (not the same, however) of C. G. F. Dumas's biographical sketch of Col. Bouquet, which is prefixed to the Amsterdam edition. The first two maps are prefixed to Hildreth's Western Pioneer, and extracts from the work are given (pp. 46-64). The map of the expedition of 1763 is in Parkman's Pontiac (ii. 199). (Cf. Thomson's Bibliog. of Ohio, nos. 1,065, etc.)
The Historical Account has an introduction giving a summary of Col. Bouquet's expedition of 1763, and supplementary matter, viz., Reflections on the War with the Savages in North America; and five appendixes: (I.) Construction of Forts in America; (II.) Account of the French Forts ceded to Great Britain in Louisiana; (III.) Route from Philadelphia to Fort Pitt; (IV.) Indian Towns on and near the Ohio River; (V.) Names of Indian tribes in North America. The supplementary matter, and doubtless some of the narrative, were furnished by Col. Bouquet himself, as Dr. Smith, in writing to Sir William Johnson, said: "I drew up [the work] from some papers he favored me with." Cf. on the expedition of 1764, Col. Whittlesey's Cleveland, p. 105; Darlington's ed. of Col. James Smith's Remarkable Occurrences, pp. 107, 177; Hildreth's Pioneer Hist. of Ohio Valley, p. 46; Western Reserve Hist. Soc. tracts, nos. 13, 14, 25.
[1453] M. D'Abbadie died in February, 1765. Pittman, p. 16.
[1454] The Pontiac War is treated in Doddridge's Notes (ed. 1876), p. 220; Kercheval (taken largely from Doddridge), p. 258; Monette, i. 326; Stone's Sir William Johnson, ii. 191; Perkins's Western Annals (ed. 1851), p. 66; Davidson and Struve's Illinois, p. 137; Silas Farmer's Detroit and Michigan (1884); Sheldon's Michigan; Blanchard's North West, 119, with a map; Schweinitz's Zeisberger, p. 274; and in an illustrated article by J. T. Headley, Harper's Mag., xxii. 437. Munsell published at Albany in 1860, as edited by F. B. Hough, and no. 4 of Munsell's "Historical Series", a Diary of the siege of Detroit in the war with Pontiac. Also a narrative of the principal events of the siege, by Major R. Rogers; a plan for conducting Indian affairs, by Col. Bradstreet; and other authentick documents, never before printed. Rogers MS. diary is noted in the Menzies Catal., no. 1,715. There was a Life of Pontiac published in N. Y. in 1860. See also Poole's Index for reviews of Parkman's admirable work.—Ed.
[1455] Gage's despatch, May 27, 1764 (Haldimand Coll., p. 18). Major Loftus arrived at New Orleans from Mobile with the 22d regiment, Feb. 12, 1764. The French governor "gave him a very bad account of the disposition of the Indians towards us [the English], and assured him, unless he carried some presents to distribute amongst them, that he would not be able to get up the river" (Gage to Earl Halifax, N. Y. Col. Doc., vii. 619). The attack on the command of Major Loftus was made on the 20th of March, 1764, by the Tunicas Indians, a few miles above the mouth of the Red River: first from the west bank, and later from the east bank, of the Mississippi. The spot is indicated on Lieut. Ross's Map of the Mississippi, 1765 (pub. 1775), by the legend "Where the 22d regiment was drove back by the Tunicas, 1764;" and on Andrew Ellicott's Map of the Mississippi, 1814 (Journal, p. 25), by "Loftus's Heights", on the east bank. Pittman (p. 35) gives some particulars of the attack, and says, "They killed five men and wounded four."
[1456] Capt. Pittman was the author of The Present State of the European Settlements on the Mississippi, with a Geographical Description of that River; illustrated by [eight] plans and draughts (London, 1770, 4to). It is the earliest English account of those settlements, and, as an authority in early Western history, is of the highest importance. He was a military engineer, and for five years was employed in surveying the Mississippi River and exploring the Western country. The excellent plans which accompany the work, artistically engraved on copper, add greatly to its value. They are: (1) Plan of New Orleans; (2) Plan of Mobile; (3) Draught of River Ibbeville to Lake Ponchartrain; (4) Plan of Fort Rosalia; (5) Plan of Cascaskies [Kaskaskia]; (6, 7, 8) Draught of the Mississippi River from the Balisle to Fort Chartres (in three sheets). Cf. Vol. V. pp. 47, 71.—Ed.
[1457] Sir William Johnson, hearing of the failure of the English troops to reach the Illinois country by way of the Mississippi, attributed the result to a conspiracy existing between eighteen tribes of Indians to prevent it, which he charged to the intrigue of the French residing in New Orleans and the Illinois (N. Y. Col. Doc., vii. 776).
[1458] Fraser, "being too zealous", as Sir William Johnson wrote in July, 1765, "set out before Mr. Croghan had effected the necessary points with the Indians;" and "with two or three attendants" (Stone's Life of Johnson, ii. 247) floated down the Ohio, and arrived at Fort Chartres without casualty. Here he was courteously received by the French commander; but he and his attendants were ill treated by drunken Indians, and their lives were saved by the interposition of Pontiac in their behalf. The story of Fraser's troubles came to Sir William in another form, and he wrote: "From late accounts from Detroit there is reason to think that Fraser has been put to death, together with those that accompanied him, by Pontiac's party" (N. Y. Col. Doc., vii. 746). Fraser, finding the Illinois country at that time an unsafe place of residence, took a passage in disguise down the Mississippi to New Orleans, and thence to Mobile.
[1459] N. Y. Col. Doc., vii. 746, 765. The Shawanese, in their treaty of July 7, stipulated to send ten deputies (Ibid. 752); and the Delawares, in their treaty of May 8, agreed "to send with Mr. Croghan proper persons to accompany and assist him" (Ibid. 739).
[1460] Then called Post Vincent, and later simply "The Post" and "O'post." It was often erroneously written "St. Vincent."
[1461] The savages apologized, saying they supposed the Indians of the party were Cherokees.
[1462] Now Lafayette, Indiana.
[1463] George Croghan's journals (for there are several) of his journey to the Illinois country in 1765 are important documents in the history of the West. "This journal", says Parkman (ii. 296), "has been twice published,—in the appendix to Butler's History of Kentucky, and in the Pioneer History of Dr. S. P. Hildreth",—implying that they were publications of the same journal. Dr. Hildreth, in a note appended to his version (p. 85), makes a statement from which it is evident that he supposed they were the same journal: "The above journal was copied from an original MS. among Col. [George] Morgan's papers, and not copied from Butler's History of Kentucky, which had not been seen by the writer at that time." It is an important fact that these journals are not the same, no paragraph in one being the same as a paragraph in the other. Their subject matter is different, and yet they are in no instance contradictory. The one printed by Dr. Hildreth may be regarded as an official report, and the one printed by Butler as a descriptive account. The former gives the details of the official business which he was sent to transact; the latter is such a journal as any traveller would keep, giving from day to day the incidents of the journey, describing the scenery and topography of the country, the fertility of the soil, the game, and omitting wholly to speak of public business, or what was done at councils with the Indians. He describes his being wounded and captured by the Indians, near the Wabash, as a personal misfortune, but makes no mention of conferences with the Indians at Ouatanon, or of his meeting Pontiac and making peace with him. Butler (p. 365, ed. 1834; p. 459, ed. 1836) states that "the following journal, so curious and little known, is extracted from the Monthly American Journal of Geology and Natural Science, December, 1831, by G. W. Featherstonhaugh, Esq., Philadelphia, and purports to be from the original, in possession of the editor." This text was reprinted at Burlington, New Jersey, 1875, in a tract of 38 pages (Thomson's Bibliog. of Ohio, no. 285). A third version of Croghan's journal is in the letters of Sir William Johnson to the Lords of Trade (N. Y. Col. Doc., vii. 779-788). With some variations it is the same as that printed by Dr. Hildreth. Each contains passages and paragraphs which are not in the other. In the Johnson text, words and passages are omitted, as illegible, which are given in the Pioneer History. Sir William, writing Nov. 16, 1765, says: "A few days ago [Oct. 21] Mr. Croghan arrived here, and delivered me his journal and transactions with the Indians, from which I have selected the principal parts, which I now inclose to your lordships. The whole of his journal is long and not yet collected; because after he was made prisoner and lost his baggage, etc., he was necessitated to write it on scraps of paper procured with difficulty at Post Vincent [Vincennes], and that in a disguised character, to prevent its being understood by the French, in case through any disaster he might again be plundered" (Ibid. 775). Sir William, from May 8 to Sept. 28, 1765, frequently reports that he has heard from Croghan, and mentions incidents and details which are not contained in either of the three versions named (Ibid. 746, 749, 765). Being at Post Ouatanon on the 12th of July, Croghan said: "I wrote to Gen. Gage and Sir William Johnson, to Col. Campbell at Detroit, Major Murray at Fort Pitt, and Major Farmar at Mobile, or on his way up the Mississippi, and acquainted them with everything that had happened since my departure from Fort Pitt" (Hildreth's Pioneer History, p. 71; N. Y. Col. Doc., vii. 781). In the Butler journal, writing from the same place, July 15, he said: "From this post the Indians permitted me to write to the commander at Fort Chartres [St. Ange]; but would not suffer me to write to anybody else (this, I apprehend, was a precaution of the French, lest their villainy should be perceived too soon), although the Indians had given me permission to write to Sir William Johnson and to Fort Pitt on our march, before we arrived at this place." In the summary of his report to Sir William, he said: "In the situation I was in at Ouatanon, with great numbers of Indians about me, and no necessaries, such as paper and ink, I had it not in my power to take down all the speeches made by the Indian nations, nor what I said to them, in so particular a manner as I could wish." It is evident that Croghan wrote many accounts of his journey, and only three of them, as now appears, are accessible. A biographical sketch of George Croghan, by Dr. O'Callaghan, is in N. Y. Col. Doc., vii. 982, 983. For earlier traces of Croghan see Vol. V. 10, 596, 610.—Ed.
[1464] N. Y. Col. Doc., vii. 783; Hildreth's Pioneer History, p. 75. Pontiac kept his promise, visited Sir William Johnson in the spring, concluded a peace, and departed laden with presents. He returned to his village on the Maumee, and little is known of him for the next three years. He then reappeared in the Illinois country, and visited his old friend M. St. Ange, who was in command of the post of St. Louis, then under Spanish rule. Like other Indians, Pontiac indulged at times in the excessive use of intoxicating liquors. Against the advice of his friend, St. Ange, he attended an Indian drinking carousal, at which he was waylaid and brained with a hatchet by a Kaskaskia Indian, who had been paid a barrel of rum by an English trader, named Williamson, to commit the deed. St. Ange claimed the body, and buried it with the honors of war, in an unknown grave near the fort of St. Louis. J. N. Nicollet, in his sketch of St. Louis (p. 82), says: "This murder, which roused the vengeance of all the Indian tribes friendly to Pontiac, brought about the successive wars and almost total extermination of the Illinois nation. Pontiac was a remarkably well-looking man, nice in his person, and full of taste in his dress and in the arrangement of his exterior ornaments. His complexion is said to have approached that of the whites. His origin is still uncertain, for some have supposed him to belong to the Ottawas, others to the Miamis, etc.; but Col. P. Chouteau, senior, who knew him well, is of the opinion that he was a Nipissing." (Reprinted in Olden Time, i. 322.)
[1465] N. Y. Col. Doc., vii. 808.
[1466] The account of St. Ange's "Surrender of Fort Chartres to M. Stirling on the 10th of Oct., 1765", with a detailed description of the fort, from the French archives, is in N. Y. Col. Doc., x. 1161-1165. See also Stone's Life of Sir Wm. Johnson, ii. 252. [There are documents about Fort Chartres referred to in the Hist. MSS. Com. Report, v. 216. Cf. Hist. Mag., viii. 257, and H. R. Stiles's Affairs at Fort Chartres, 1768-1781 (Albany, 1864), being letters of an English officer at the close of the war.—Ed.]
[1467] Nicollet (p. 81) states that "Capt. Stirling, at the head of a company of Scots, arrived unexpectedly in the summer of 1765;" and Parkman (ii. 298), that "Capt. Stirling arrived at Fort Chartres just as the snows of early winter began to whiten the naked forests." The articles of surrender are conclusive as to the fact that the English troops arrived and took possession of the Illinois country, October 10. Capt. Stirling was relieved by Major Robert Farmar, of the 34th regiment, about the time of which Parkman speaks. Sir William, writing March 22, 1766, says: "Just now I have heard that Major Farmar, who proceeded by the Mississippi, arrived there [the Illinois] the 4th of December, and relieved Capt. Stirling" (N. Y. Col. Doc., vii. 816; Stone's Johnson, ii. 251). Monette (i. 411) states that "Capt. Stirling died in December; that St. Ange returned to Fort Chartres, and not long afterward Major Frazer, from Fort Pitt, arrived as commandant." These errors have been repeated scores of times, and the last repetition I have seen is in F. L. Billon's Annals of St. Louis in early Days, 1886, p. 26. Capt. Stirling lived until 1808: served in the Revolutionary War, became colonel in 1779, and later brigadier, major-general, lieut.-general, general, and was created a baronet. For a biographical sketch of him, by Dr. O'Callaghan, see N. Y. Col. Doc., vii. 786; and for one of Major Farmar, Ibid. 775. F. S. Drake (Biog. Dict.) records Capt. Stirling's extraordinary feat of marching his company of Highlanders overland 3,000 miles, from Fort Chartres to Philadelphia, without losing a man. The facts were that Capt. Stirling floated his company in boats down the Mississippi to New Orleans; thence they sailed to Pensacola, and later to New York, where they arrived June 15, 1766. Gen. Gage, in a letter of that date, wrote to Gov. Penn announcing their arrival, stating that they would march on the 17th for Philadelphia, and asking that quarters be assigned them (Penna. Col. Rec., ix. 318). No officer of the name of Frazer was ever in command at Fort Chartres. Fort Chartres, built by the French in 1720, was in its time the strongest fortress in America. Its ruins are on the left bank of the Mississippi, now a mile from the river, in Randolph County, Ill., 50 miles south of St. Louis, and 16 miles northeast of Kaskaskia. It was abandoned in 1772, in consequence of a portion of it being undermined by a Mississippi flood. See Edw. G. Mason's Old Fort Chartres, in Fergus's Historical Series, no. 12; Pittman, p. 45; Reynolds, My own Time, p. 26, ed. 1879; also his Pioneer History, p. 46, ed. 1887, with plan, from Beck's Gazetteer of Illinois and Missouri. For a plan of the fort, see Vol. V. p.54; and Mr. Davis's collation of authorities regarding its position, p. 55.—Ed.
[1468] N. Y. Col. Doc., vii. 775.
[1469] The Six Nations claimed by conquest the supremacy of all the tribes west of the Alleghanies and as far south as the Cherokees, with whom the Northern tribes were in perpetual warfare. See Monette, i. 323; and Huske's map in Vol. V. p. 84.—Ed.
[1470] A fac-simile of this map is in N. Y. Col. Doc., viii. 31; and of the map as the treaty was finally made, Ibid. 136. See ante, p. 610.—Ed.
[1471] Ibid. ii. 2.
[1472] Haldimand Col., p. 103.
[1473] Stone's Life of Johnson, ii. 306. "I was much concerned", Sir William wrote, "by reason of the great consumption of provisions and the heavy expenses attending the maintenance of those Indians, each of whom consume daily more than two ordinary men amongst us, and would be extremely dissatisfied if stinted when convened for business" (N. Y. Col. Doc., viii. 105).
[1474] Sir William's full report of the council at Fort Stanwix, with the treaty, which he transmitted to Lord Hillsborough, is in N. Y. Col. Doc., viii. 111-137. In the appendix to Mann Butler's History of Kentucky, 1834, p. 378-394, is an abstract of the proceedings of the council, with the treaty, for which the author expresses his obligations to Hon. Richard M. Johnson. The treaty and map are also in N. Y. Doc. History, i. 587.
[1475] In this interval between 1765 and 1774 there was a revival of the purpose of settlements in the country watered by the Ohio and its tributaries. The breaking up by the war of the earlier enterprise of the Ohio Company (see Vol. V., ante; Sparks in his Washington, ii. 483, says its papers were entrusted to him fifty years ago by Charles Fenton Mercer, of Virginia) had led to a plan to buy out the French settlers in Illinois (Sparks's Franklin, vii. 356; Bigelow's Franklin, i. 537, 547; ii. 112); and this being abandoned, the earlier project had been merged in the scheme known at first as Walpole's Grant, and subsequently as the Colony of Vandalia, which had derived some impetus immediately after the conclusion of peace in 1763 by the publication in London of The Advantages of a Settlement upon the Ohio (now rare; copies in Harvard College library; in Carter-Brown Catal., iii. 1363; Thomson's Bibliog. of Ohio, no. 7), and in Edinburgh of The Expediency of securing our American Colonies by settling the Country adjoining the Mississippi River and the Country upon the Ohio Considered (Harvard College library, 6373. 33). The scheme had the countenance of Lord Shelburne, and the Shelburne MSS., as calendared in the Hist. MSS. Com. Report, v. p. 218 (vol. 50), show various papers appertaining. Professor H. B. Adams, in the Maryland Fund Publications, no. xi. p. 27, has marked the growth of the perception of the importance of these lands.
The grant was not secured till 1770, nor ratified till 1772 (account in Sparks's Franklin, iv. 233, and Washington, ii. 483). Franklin had interested himself in securing the grant against the opposition of Hillsborough. See Franklin's letters in Works, iv. 233; the adverse report of the Lords of Trade (p. 303), and Franklin's reply to it (p. 324). These last papers are also included in Biog. lit. and polit. Anecdotes of several of the most Eminent persons of the present Age (London, 1797), vol. ii. Provision was made for securing out of this grant the lands promised to the Virginia soldiers, in which Washington was so much interested. The coming on of the Revolution jeopardized the interests of the grantees, and in 1774 they petitioned the king that the establishment of a government for Vandalia be no longer delayed. Walpole, in May, 1775, was anxious at the turn of affairs (Hist. Mag., i. 86), and in 1776 the plan was abandoned. A memorial of Franklin and Samuel Wharton, dated at Passy, Feb. 26, 1780, tracing the history of these lands, is in the Sparks MSS., no. xvii.
On the early settlers of Ohio at this time, see S. P. Hildreth's Biog. and Hist. Memoirs of the Early Pioneer Settlers of Ohio (Cinn., 1852); James W. Taylor's Hist. of Ohio, 1650-1787 (Sandusky, 1854); and a paper by Isaac Smucker on the first pioneers, in Mag. of Amer. Hist., Aug., 1885, p. 326. The position of the Delawares in this region during the war is discussed by S. D. Peet in the American Antiquarian, ii. 132.
The Filson Club of Louisville has published (1886) Thomas Speed's Wilderness road, a description of the route of travel by which the pioneers and early settlers first came to Kentucky, their previous publication having been Reuben T. Durrett's Life and Writings of John Filson, the first historian of Kentucky (1884), which gives in fac-simile the earliest special map of Kentucky, after a copy in Harvard College library,—most copies of the book being without it,—for while the Discovery, Settlement, and Present State of Kentucke was printed in 1784, at Wilmington, Del., the map was printed in Philadelphia, and was an improvement upon the general maps of Charlevoix, Evans, Hutchins, Pownall, and others. Filson's book was issued in French, at Paris, in 1785, and reprinted in English in Imlay's Topog. Description of North America (London, 1793 and 1797), in conjunction with Imlay; again by Campbell in New York, in 1793. Filson first presented to the world the story of the adventures of Daniel Boone in the appendix of his book, and from that it has been copied and assigned to Boone himself, in the Amer. Museum, Philadelphia, Oct. 1787, and in Samuel L. Metcalfe's Collection of some of the most interesting narratives of Indian Warfare in the West (Lexington, Ky., 1821,—Thomson's Bibliog. of Ohio, no. 818). The life of Boone embodies much of the history of the pioneer days of Kentucky. His subsequent biographers, J. M. Peck (in Sparks's Amer. Biog.), E. S. Ellis, G. C. Hill, H. T. Tuckerman (in his Biog. Essays), C. W. Webber (in Hist. and Rev. Incidents, Phil., 1861), Lossing (in Harper's Mag., xix.), and others, have depended upon Filson. E. C. Coleman has told the story as it is centred about Simon Kenton (Ibid. xxviii.), and J. H. Perkins has given it more general bearings in his "Pioneers of Kentucky", in No. Amer. Rev., Jan., 1846, included in his Memoir and Writings, ii. 243. Cf. Marshall Smith's Legends of the War of Independence and of the Earlier settlements in the West (Louisville, 1855), and the old fort at Lexington, Ky., in Mag. Amer. Hist., Aug., 1887, p. 123.
What is now Tennessee was known after 1769 as the Settlements of the Watauga Association, and so continued till 1777, when, during the rest of the Revolutionary War, it was a part of North Carolina (J. E. M. Ramsey's Annals of Tennessee, Charleston, 1853; Philad., 1853, 1860; Sabin, xvi. no. 67, 729).
There are documents on the Illinois country during this quiet interval among the Shelburne Papers, as noted in the Hist. MSS. Com. Report, v. pp. 216, 218 (vols. 48 and 50). Cf. John Reynolds, Pioneer Hist. of Illinois (1852); Breese's Early Hist. of Illinois, and the other later histories (see Vol. V., ante, p. 198). Cf. Arthur Young's Observations on the present State of the waste lands of Great Britain, published on occasion of the establishment of a new Colony on the Ohio (London, 1773).
Several journals of voyages and explorations along the Ohio and its tributary streams, which were made during this period, are preserved to us, such as that of Capt. Harry Gordon, from Fort Pitt to the Illinois in 1766, which is printed in Pownall's Topog. Description (London, 1776), and of which the original or early copy seems to be noted in the English Hist. MSS. Com. Report, v. p. 216; that of Washington, who visited the Ohio region in 1770 to select lands for the soldiers of the late wars, and which is printed in Sparks's Washington (vol. ii. 516, beside letters in Ibid. 387, etc. Cf. Irving's Washington, i. 330, and some letters in Read's George Read, p. 124); and those of Matthew Phelps, who was twice in this Western country between 1773 and 1780, and whose account is given in the Memoirs and adventures, particularly in two voyages from Connecticut to the river Mississippi, 1773-80. Compiled from the original journal and minutes kept by Mr. Phelps. By Anthony Haswell (Bennington, Vt., 1802).
The diary of Rufus Putnam, who explored the lower regions of the Mississippi Valley between Dec. 10, 1772, and Aug. 13, 1773, is preserved in the library of Marietta College. (Cf. Mag. Amer. Hist., vii. 230.)—Ed.
[1476] Connolly was arrested as a Tory in November, 1775, and held as a prisoner until exchanged in the winter of 1780-81. He then planned a scheme with Tories and Indians to capture Fort Pitt. See Olden Time, i. 520; ii. 93, 105, 348; Craig's Pittsburg, 112, 124; Perkins's West. Annals, 140, 148; Jacob's Cresap, 75-91; Am. Archives, 4th ser., i. 774.
[1477] Botta's Am. War, i. 250; Doddridge's Notes, (ed. 1876), 238; Olden Time, ii. 43.
[1478] Concerning this controversy, see Craig's Pittsburg, 111-128. The right of Pennsylvania to land beyond the Alleghanies is examined in a paper (1772) entitled "Thoughts on the situation of the inhabitants on the frontier", by James Tilghman, printed in the Penna. Mag. of Hist., x. 316. Cf. also Daniel Agnew's History of the Region of Pennsylvania north of the Ohio and west of the Allegheny River, of the Indian purchases, and of the running of the southern, northern, and western State boundaries; also, an account of the division of the territory for public purposes, and of the lands, laws, titles, settlements, controversies, and litigation within this region (Philadelphia, 1887).—Ed.
[1479] No Indian tribes had their homes in Kentucky. The territory was the common hunting and fighting ground of the Ohio Indians on the north and the Cherokees and Chickasaws on the south. See Butler's Kentucky, p. 8.
[1480] Brantz Meyer's Logan and Cresap, 1867, p. 149. Clark's letter is also printed in The Hesperian (Columbus, Ohio), 1839, ii. 309; Jacob's Life of Cresap, pp. 154-158, and portions of it in Perkins's Western Annals, 143-146.
[1481] Capt. Cresap was then thirty-two years of age, was a trader, and had had no experience in a former war. His father, however,—Col. Thomas Cresap,—was a noted Indian fighter. Clark and his party evidently supposed it was the father, and not the son, they were sending for. The Cresaps were a Maryland family, and the party who wanted a leader were Virginians.
[1482] A few days before, a canoe from Pittsburg, coming down the river, was fired on by Indians, near Baker's Bottom, two white men killed and one wounded. Baker's family had been warned, and were preparing to leave for one of the forts. Baker kept tavern, sold rum, and the Indians across the river were his habitual customers. Fearing an attack, he called in his neighbors. Twenty-one of them responded, but kept out of sight. A party of Indians appeared, and all with the exception of Logan's brother became very drunk. Logan's brother was drunk enough to be insolent, and he attempted to strike one of the white men. As he was leaving the house with a coat and hat which he had stolen, the white man whom he had abused shot him. The neighbors rushed from their concealment and killed the whole Indian party, except a half-breed child whose father was Gen. John Gibson. The Indians on the opposite shore, hearing the firing, came over in canoes. They were also fired on, and twelve of them were killed. (See the statements of John Sappington and others in Jefferson's Notes on Virginia, App. iv., 1800, and later editions; and Withers's Border Warfare, p. 113.)
[1483] This comment Jefferson cancelled in his edition of 1800.
[1484] "I appeal to any white man to say if ever he entered Logan's cabin hungry and he gave him not meat; if ever he came cold and naked and he clothed him not.... Col. Cresap, the last spring, in cold blood and unprovoked, murdered all the relations of Logan, not sparing even my women and children. There runs not a drop of my blood in the veins of any living creature", etc.
Col. Thomas Cresap, well known in the West as an Indian fighter, was the father of Capt. Michael Cresap, and it is not strange that the rank of the father should have been given to the son. Public attention was not directed to Logan's speech, or the comments of Jefferson on the character of Capt. Cresap, until 1797, when Luther Martin, an ardent Federalist and the Attorney-General of Maryland (who had married a daughter of Capt. Cresap), addressed a public letter to an elocutionist, objecting to his reciting "Logan's Speech", on the ground that it was a slander on a noble man and patriot. The speech itself, he stated, was probably never made by Logan; and the letter had sneering allusions to the claim that Jefferson was a philosopher. Martin's letter is in Olden Time, ii. 51. Jefferson's letter to Gov. Henry of Maryland, of Dec. 31, 1797 (Writings, viii. 309), shows that he attributed Martin's attack to political motives, and that his feelings were greatly disturbed. He immediately set about collecting testimony (1) to prove the genuineness of Logan's speech, and (2) to justify the charges he had made against Cresap. On the first point, it was easy for him to show that he had not invented the speech; that it was common talk in Dunmore's camp; that he took it, as he printed it, from the lips of some person in Williamsburg in 1774, and that it was printed at the time in the Virginia Gazette. It appears that the speech was printed in the Gazette at Williamsburg, Feb. 4, 1775, and that twelve days later the speech, with important variations, was sent by Madison to his friend William Bradford, and was printed in a New York newspaper. Both versions are in Amer. Archives, 4th series, i. 1020. (See also Rives's Madison, i. 63, and Mayer's Logan and Cresap, p. 177.) The fact that the speech as printed was actually delivered was more difficult to prove, as it depended wholly on the statement of Gen. John Gibson, the interpreter. It will never be known what part of it was Logan's and how much of it was Gibson's. Jefferson was not successful in justifying the charges he had made against Cresap. Such of the collected evidence as answered his purpose he printed in Appendix iv. in the edition of his Notes of 1800 (Philadelphia). Some copies of the appendix were printed separately, and it was first mentioned on the title-page in the edition printed at Trenton, 1803. (See Writings, viii. 457-476.) Such of the testimony as did not answer his purpose he suppressed. One of these suppressed statements is the letter of George Rogers Clark to Dr. Samuel Brown, already quoted. It was found among his papers purchased by the United States in 1848, and is now in the State Department at Washington. Brantz Mayer vindicated Cresap in a paper read before the Maryland Historical Society in 1851, on Logan the Indian and Cresap the Pioneer, and more fully in Tah-Gah-Jute, or Logan and Cresap (Albany, 1867); Thomson, Bibliog. of Ohio, nos. 805, 806. Dr. Joseph Doddridge, in his Notes, 1824 (reprinted 1876, and used by Kercheval, Winchester, Va., 1833), made severe strictures on Cresap, but did not charge him with killing Logan's family. An extract from Doddridge, with other matter, called Logan, Chief of the Cayuga Nation, was published in Cincinnati by Wm. Dodge in 1868. Doddridge's attack on Capt. Cresap caused the Rev. John J. Jacob, who in youth had been Cresap's clerk, and had accompanied him in his Western expeditions, to write his Life (Cumberland, Md., 1826; reprinted, with notes and appendix, for Wm. Dodge, Cincinnati, 1866; Field's Ind. Bibliog., nos. 769, 770; Thomson, Bibliog. of Ohio, nos. 640-1). With slight claim to literary merit, and much inaccuracy as to dates, it contains some important documents, and is an earnest vindication of Cresap's character. Charges of baseness and cruelty against Cresap were older than any publication of Logan's speech. The early accounts which came to Sir William Johnson charged the origin of the war upon him. Writing June 20, 1774, Sir William says: "I received the very disagreeable and unexpected intelligence that a certain Mr. Cressop [sic] had trepanned and murdered forty Indians on the Ohio, ... and that the unworthy author of this wanton act is fled.... Since the news of the murders committed by Cressop and his banditti, the Six Nations have sent me two messages", etc., and much more of the same character (N. Y. Col. Doc., viii. 459, 460, 461, 463, 471, 477; a biographical sketch of Cresap by Dr. O'Callaghan is on p. 459). The subject is treated in Olden Time, ii. 44, 49-67; Potter's Amer. Monthly, xi. 187; Old and New, x. 436; New Eclectic, 169; Annual Report, 1879, of the Sec. of State, Ohio, Columbus, 1880; Stone's Sir William Johnson, ii. 370; Dillon's Indiana (1859), p. 97; Atwater's Ohio, p. 116; Monette, i. 384; Jacob's Cresap (1866), 92-125; Amer. Jour. Science, xxxi. 11; Withers's Border Warfare, p. 118; Amer. Pioneer, i. 7-24, 64, 188, 331. The Amer. Pioneer, 1842-43, was the organ of the "Logan Historical Society", the object of the society being to erect a monument to Logan, on which "his speech as given by Thomas Jefferson shall be fully engraved in gilt letters." The title is a full-page woodcut, representing Logan and Gen. Gibson sitting on a log, the former making his "speech" and the latter taking it down.
Capt. Cresap, in June, 1775, enlisted a company of one hundred and thirty riflemen in Maryland, twenty-two of whom were his old companions-in-arms from the country west of the Alleghanies, and marched them to Boston in twenty-two days. Here his health gave way, and he was compelled to return. He reached New York, and there died, Oct. 18, 1775, at the age of thirty-three. His gravestone is in Trinity churchyard, New York city, opposite the door of the north transept. An accurate woodcut of his gravestone is in Mayer's Logan and Cresap, p. 144, and in Harper's Mag., Nov., 1876, p. 808. A view of his house is in Harper's Mag., xiv. 599.
[1485] See Withers's Border Warfare; Monette, i. 374; Dillon's Indiana, 93; Amer. Archives, 4th series, i. 722.
[1486] Accounts of Cornstalk by W. H. Foote are in the Southern Literary Messenger, xvi. 533, and by M. M. Jones in Potter's Amer. Monthly, v. 583. See Withers, pp. 129, 136, 156. Cornstalk's tragical death is described in Doddridge, p. 239, and Kercheval, p. 267; also in J. P. Hale's Trans-Allegheny Pioneers, p. 328.
[1487] See Amer. Archives, 4th series, i. 1016; Olden Time, ii. 33; Monette, i. 376-380; Perkins's Annals, p. 149; Amer. Pioneers, i. 381, by L. C. Draper; Virginia Hist. Reg., i. 30; v. 181; narrative of Capt. John Stuart in Mag. of Amer. Hist., i. 668, in Virginia Hist. Coll., vol. i., and separately as Memoirs of Indian Wars (Richmond, 1833); John P. Hale's Trans-Allegheny Pioneers (Cincinnati, 1886), p. 174, and a paper by S. E. Lane in Mass. Mag., Nov., 1885, p. 277. What purports to be a contemporary account in J. L. Peyton's Adventures of my Grandfather (London, 1867), p. 142, is not without suspicion.—Ed.
[1488] For particulars concerning the Dunmore War, see Amer. Archives, 4th ser., i. 345, 435, 468, 506, 774, 1013-1020; ii. 170, 301; N. Y. Col. Doc., viii. 459, 461; St. Clair Papers, i. 296, etc.; C. W. Butterfield's Washington-Crawford letters (Cinn., 1877), pp. 47, 86; Morgan's autobiographic letter in Hist. Mag., xix. 379; De Haas's West. Virginia, 142; Doddridge, pp. 229-239; Kercheval, p. 148; Withers, 104-138; Perkins's Annals, pp. 140-151; Hildreth's Pioneer History, pp. 86-94; Monette, i. pp. 368-385; Atwater's Ohio, pp. 110-119; Walker's Athens Co., Ohio, p. 8; Dillon's Indiana, p. 91; and Schweinitz's Zeisberger, p. 399. Col. Charles Whittlesey has treated the subject in his Discourse relating to the expedition of Dunmore (Cleveland, 1842); in the Olden Time, ii. 8, 37; and in his Fugitive Essays (Hudson, Ohio, 1852).—Ed.
[1489] For references to the proceedings in Parliament, see ante, chapter i., notes.
[1490] Declaration of Rights, Oct. 14, 1774 (Jour. of Old Cong., i. 22). In similar terms it was complained of in the Articles of Association, Oct. 20, 1774 (Ibid. 23), and again, without naming the act, in the Declaration of Independence, as follows: "For abolishing the free system of English laws in a neighboring province, establishing therein an arbitrary government, and enlarging its boundaries so as to render it at once an example and fit instrument for introducing the same absolute rule into these colonies" (Ibid. 395).
[1491] "The Quebec act was one of the multiplied causes of our opposition, and finally of the Revolution." (Madison's report, January 17, 1782; Thomson Papers, N. Y. Hist. Soc. Coll., 1878, p. 134: Secret Journals of Cong., iii. 155, 192.)
[1492] Butler's Kentucky, pp. 26, 27. Just before this, in May, 1775, the few settlers of the Kentucky towns had met and organized for defence, and had called their country Transylvania. For Boone's defence of his fort in Aug., 1778, with references, see Dawson's Battles of the U. S., i. 445.—Ed.
[1493] Butler, p. 35; Perkins's Annals, p. 171.
[1494] Butler, p. 40; Dillon's Indiana, 115-118.
[1495] [Dawson gives (Battles of the U. S., i. 221) an account, with references, of the attack on Fort Logan in May, 1777, and (Ibid. i. 269) of the assault on Fort Henry (the modern Wheeling, named after Patrick Henry), Sept. 1, 1777. Cf. the account of Elizabeth Zane in Mrs. Eliot's Women of the Rev., ii. 275. There is a view of Fort Henry in Newton's History of the Pan-Handle, West Virginia (1879), p. 102.—Ed.]
[1496] In Clark's account of Nov., 1779 (Campaign in Illinois, Cincin., 1869, p. 21), he says: "I set out for Williamsburg in Aug. 1777 in order to settle my accounts." In his later and fuller account (Dillon's Indiana, 1843, p. 132; 1859, p. 119) he says: "When I left Kentucky October 1, 1777."
[1497] See Clark's Campaign, 95, 96; Butler's Kentucky, 394; Monette, i. 415; Brown's Illinois, 239; Hist. Mag., iii. 362.
[1498] Washington had trouble from the same cause in raising troops at Pittsburg for the Eastern service (Writings, v. 244).
[1499] Governor Henry, in a letter to Virginia delegates in Congress, gives the number as "170 or 180" (Butler's Kentucky, 2d ed., p. 533); Capt. Bowman, in letter of July 30, 1778, to Col. John Hite, gives the number as "170 or 180" (Almon's Remembrancer, 1779, p. 82).
[1500] Amer. Pioneer, ii. 345.
[1501] George Rogers Clark's own narratives furnish the most authentic information concerning his Illinois campaigns, three of which are accessible in print, as follow in the order of their dates: (1) Letter to the governor of Virginia, dated Kaskaskia, April 29, 1779, concerning his capture of Vincennes (in Jefferson's Writings, i. 222-226). (2) Letter to George Mason, dated Louisville, Falls of Ohio, November 19, 1779, which covers the period from setting out on his second visit to Virginia, in the autumn of 1777, to the end of his Vincennes campaign. It is printed from the original MS. in the Collections of the Hist. Soc. of Kentucky, with an introduction by Henry Pirtle; a biographical sketch of Clark; and the journal of Capt. (later Major) Joseph Bowman in the expedition against Vincennes. It is one of the Ohio Valley Series, Cincinnati, 1869, and is here quoted as Clark's Campaign. (3) "Memoirs composed by himself at the united desire of Presidents Jefferson and Madison", printed (with omissions and interpolations) in Dillon's Indiana (1843, pp. 127-184; and 2d ed., 1859, pp. 114-170). The second edition is here quoted. H. W. Beckwith used extracts from the same in his Historic Notes on the Northwest, pp. 245-259. It is the most extended of the three narratives. The original, with a large mass of other MSS. of, and relating to, Geo. Rogers Clark, is in the possession of Dr. Lyman C. Draper, of Madison, Wis. The date when it was written is not given; but it must have been written more than twelve years after the events occurred which it describes. Jefferson, writing March 7, 1791, to Col. James Innes, concerning Col. Clark, said: "We are made to hope he is engaged in writing the accounts of his expeditions north of the Ohio. They will be valuable morsels of history, and will justify to the world those who have told them how great he was" (Writings, iii. 218). Mann Butler's account of Clark's exploits (Hist. of Kentucky, pp. 35-88) is highly seasoned with popular traditions, and with incidents which are not consistent with Clark's own statements; and yet Butler has been more frequently quoted than the narratives of Clark. (4) The Canadian Archives, at Ottawa, has a journal of Clark, dated Vincennes, Feb. 24, 1779, the day of the surrender, which has never been printed nor quoted. (See report of Douglas Brymner, archivist, for 1882, p. 27, where an abstract of the report is given.) This is Clark's original report on his Vincennes campaign to the governor of Virginia. Three days after the surrender, a messenger arrived at Vincennes with despatches from the governor. On the 14th of March this messenger (whom Clark calls William Myres; Bowman, Mires; the Canadian Calendar, Moires; and Jefferson, Morris) was sent back to Williamsburg with letters to the governor. Near the Falls of the Ohio he was killed by the Indians, and the report of Clark, with nine other letters captured upon him, appear in the Haldimand Collection in the Canadian Archives. Clark, writing to Jefferson April 29th, mentions that he had heard of the killing of his messenger, "news very disagreeable to me, as I fear many of my letters will fall into the hands of the enemy at Detroit, although some of them, as I learn, were found in the woods, torn to pieces" (Jefferson's Writings, i. 222; see also Dillon, p. 159). Copies of these captured documents I have received from Ottawa. Clark's report is very interesting, and gives details of his interviews with Gov. Hamilton, while negotiating the surrender, which are omitted in his later narratives, and show that he treated Hamilton as if he believed he was responsible for the Indian barbarities inflicted upon the frontier settlers. (5) The report of Gov. Hamilton to Gen. Haldimand, July 6, 1781, which is an extended and detailed narrative of his expedition from Detroit to Vincennes in the autumn and early winter of 1778, of his capture by Clark, and of his long imprisonment in Virginia. He gives many facts and incidents which have not before appeared. He earnestly defends himself against the charges of cruelty made by Clark and the Virginia Assembly; and while admitting that, under instructions of his government, he sent out parties of Indians against the white settlements, he claims that he always gave the savages special instructions to be merciful, and that they obeyed him! This document, which has not been used by any writer, or been accessible until recently, is important, and is about the only statement we have giving the British view of the Vincennes campaign. With sixty other early manuscripts relating to the Northwest, it was kindly furnished to me by Mr. B. F. Stevens, of London, who copied it from the family papers of Lord George Germain. It now appears that it is also in the Haldimand Collection in the British Museum and in the Canadian Archives. It has lately been printed in the Michigan Pioneer Collections, ix. 489-516.
[1502] Butler (p. 52) says "two divisions crossed the river, while Clark with the third division took possession of the fort on this [the east] side of the river, in point-blank shot of the town." It is now the popular belief of the residents in the vicinity, and it has been the positive statement of all writers on the subject, that the fort in which Col. Clark captured Rocheblave was on the high bluff opposite the town, where there is still abundant evidence that a fort once existed, and now is known by the name of "Fort Gage." The spot is daily pointed out to visitors as perhaps the most noted locality in the Western country. During the past year a historical painting (40×20 feet), illustrating Col. Clark's capture of Kaskaskia, has been placed on the walls of the State House at Springfield, Ill. In the centre of the picture is the site of the old fort on the bluff, and near it stands the Jesuit church. In the foreground is Col. Clark addressing a council of Indians. There are three historical infelicities in this picture. The council of Indians which is here represented, was not held at Kaskaskia, but at Cahokia, sixty miles distant. The Jesuit church, and the actual fort which Clark captured, were on the other, the western, side of the river. Only a few points in justification of this statement can be mentioned:—
(1.) The fort on the bluff opposite the town "was burnt down in October, 1766", says Pittman (p. 43), who visited Kaskaskia about that time, or soon after, and whose book was published in London in 1770. He gives a description and detailed drawing of the town, the river, and site of the old fort. "It [the old fort] was", he says, "an oblongular quadrangle, 290 by 251 feet; it was built of very thick squared timber", etc.,—using in every instance the past tense. "An officer and 20 soldiers are quartered in the village." The evidence that the old fort was ever rebuilt is wanting.
(2.) No incident appears in the contemporary narratives that Clark occupied, or even visited, the site of the old fort; and there are many allusions to his occupying quarters in the town. On one occasion, expecting an attack from the enemy, he resolved to burn the houses around the fort. "I was necessitated", he says, "to set fire to some of the houses in town, to clear them out of the way." The people came to him in distress, fearing he would burn up their town. He took an occasion for doing this when there was snow on the roofs, and only such houses were burned as were set on fire (Campaign, p. 59). The site of the old fort was 500 yards from the river, and the river was 150 yards wide. A fire there would not have endangered the town; and Pittman's plan shows no houses on the eastern bank, around the old fort.
(3.) Setting out for Vincennes on the 5th of February, 1779, Clark says: "We crossed the Kaskaskia River with 170 men" (Dillon, p. 139). Major Bowman, in his journal of the same date, wrote: "About three o'clock we crossed the Kaskaskia with our baggage, and marched about a league from town" (p. 100). Crossing the Kaskaskia would have been unnecessary if they had been quartered on the site of the old fort.
(4.) Clark had heard from the hunters who joined him on the way, and had been in the town eight days before, that the fort was kept in good order, and that the garrison was on the alert. He was too good a soldier, on such information, to divide his scanty force of less than two hundred men into three divisions, and with one of them attack an isolated fort on the opposite side of the river, where he could have no support from his other divisions. Bowman, in a letter to Col. Hite, said: "This town was sufficiently fortified to have resisted a thousand men." That Clark passed the site of the old fort without approaching or even mentioning it, and threw his men across the river a mile north of the town, is evidence that the site of the old fort was then unoccupied.
(5.) M. Rocheblave, writing from Kaskaskia, "Fort Gage, Feb. 8, 1778", to Gen. Carleton at Montreal, shows conclusively where the fort was situated in which he was taken prisoner by Clark five months later. The MS. is in the Canadian Archives (Brymner's Report of 1882, p. 12). Rocheblave reports that "the roof of the mansion of the fort is of shingles and very leaky, notwithstanding my efforts to patch it; and unless a new roof be provided very soon, the building, which was constructed twenty-five years ago and cost the Jesuits 40,000 piastres, will be ruined." By a decree of the king, the Jesuits were suppressed in France and its colonies in 1763, and their property was confiscated to the crown. The Jesuits had a valuable estate at Kaskaskia which was taken possession of by the French commandant, and the priests were expelled. Father Watrin, Jesuit, in his Memoir of the Missions of Louisiana, 1764 or 1765 (Mag. of West. Hist. i. 265), says "When the Jesuits of the Illinois, recalled by the decree against them, passed this post [Point Coupée, on the Mississippi], Father Irenæus [a Capuchin] received and treated them as though they had been brothers." Such of the property as was needed for public use was retained, and the remainder was sold. "The Jesuits' plantation", says Pittman (p. 43), "consisted of 240 arpens [200 acres] of cultivated land, a very good stock of cattle, and a brewery, which was sold by the French commandant, after the country was ceded to the English, for the [French] crown, in consequence of the suppression of the order." This sale must have taken place before the English occupation, in 1765. Pittman mentions the church and the "Jesuits' house" as "the principal buildings, which are built of stone, and, considering this part of the world, make a very good appearance." The Jesuits' house was doubtless the one mentioned by Rocheblave, the fort being adjacent to it. On his plan of Kaskaskia Pittman locates the church in the centre of the town, and the Jesuits' property at the southeast corner, near the river. Pittman returned to Pensacola from Illinois in the spring of 1767, "with the plan of a fort", which, Haldimand reports to Gage, will "cost a good deal of money" (Haldimand Coll., p. 25). In 1772 Fort Chartres was abandoned in consequence of being undermined during an inundation of the Mississippi. Gen. Gage gave the order March 16, 1772, and directed that the troops be stationed at Kaskaskia. After the capture of the fort in 1778, the name was changed to "Fort Clark" (Bowman, p. 110; Canad. Arch., 1882, p. 36). I have found no instance where the old fort on the bluff, burned in 1766, and now known as "Fort Gage", had that name during the period when it existed as a fort.
(6.) Lieut. Ross's Map of the Mississippi from the Balise to Fort Chartres, made late in 1765, improved from the French surveys, and published in London in 1775, places "Ft. Caskaskias" at the southeast corner of the town, on the west bank of the river,—the spot indicated in Rocheblave's letter. It shows no fort on the eastern bank.
(7.) Major De Peyster, writing June 27, 1779, from Michilimacinac to Gen. Haldimand, reports concerning affairs at Kaskaskia, and fixes without question the location of the fort. He says: "The Kaskaskias no ways fortified; the fort being still a sorry pinchetted [picketted?] enclosure round the Jesuits' college." (Mich. Pion. Coll. ix. 388.)
It is remarkable that Gov. Reynolds, who resided at Kaskaskia in 1800, should not have known the location of "Fort Gage"; or, rather, that the local remembrances of the real spot should have faded out in twenty-one years. He says (in My Own Times, p. 31, ed. 1879): "The English government [in 1772] abandoned Fort Chartres and established its authority at Fort Gage, on the bluff east of Kaskaskia." Again, he says (Pioneer History, p. 81, ed. 1887): "The British garrison occupied Fort Gage, which stood on the Kaskaskia river bluffs opposite the village." This, in his mind, was the location of the fort which Clark captured. He says (Ibid. p. 94): "Two parties crossed the river; the other party remained with Col. Clark to attack the fort."
Capt. Bowman, in letter to Col. Hite of July 30, 1778 (Almon's Remembrancer, 1779, p. 82), describes the march and capture as follows: "Marched for Kaskaskia with four days' provisions, and in six days arrived at the place in the night of the 4th instant, having marched two days without any sustenance, in which hungry condition we unanimously determined to take the town, or die in the attempt. About midnight we marched into the town without being discovered. Our object was the fort, which we soon got possession of; the commanding officer (Philip Rocheblave) we made prisoner, and he is now on his way to Williamsburg under a strong guard, with all his instructions from time to time, from the several governors at Detroit, Quebec, etc., to set the Indians upon us, with great rewards for our scalps, for which he has a salary of £200 per year." This statement shows that the fort was in the town, and controverts the assertion of Butler (p. 53) that the public papers in the fort were not captured, out of delicacy to the wife of the commander, she "presuming a good deal on the gallantry of our countrymen by imposing upon their delicacy towards herself." ... "Better, ten thousand times better", Butler adds, "were it so, than that the ancient fame of the sons of Virginia should have been tarnished by insult to a female!"
[1503] Campaign, p. 31.
[1504] For the details of the conquest of Kaskaskia, see Clark's narrative of 1779 in Campaign (1869), pp. 24-36; and of his narrative of 1791 (?) in J. B. Dillon's Indiana (1843), pp. 127-150; (2d edition, 1859), pp. 114-136. See also Butler's Kentucky, p. 49, Withers's Border Warfare, p. 185; Perkins's Annals, p. 192; Beckwith's Historic Notes, p. 245; Davidson's Illinois, p. 173; Brown's Illinois, p. 230; Monette, i. 414.
[1505] The letter which Gov. Henry addressed to the Virginia delegates in Congress, Nov. 14, 1778, on receiving intelligence of Clark's capture of Kaskaskia, is in Butler's Kentucky, 2d. ed., p. 532; and is reprinted from the MS. in the new and excellent life of Patrick Henry (Boston, 1887), by Professor Moses Coit Tyler (p. 230).—Ed.
[1506] Of M. Rocheblave very little is known. His full name, Philippe François de Rastel, Chevalier de Rocheblave, with his nativity, appears in the parish records of Kaskaskia for April 11, 1763, in the third publication of the banns of his marriage to Michel Marie Dufresne (E. G. Mason's Kaskaskia, p. 17). He is mentioned in 1756 (N. Y. Col. Doc., x. 435) as a cadet at Fort Duquesne; in July, 1757, on the Potomac (Ibid. 581); and in July, 1759, at Niagara (Ibid. 992). Many of his letters [in French] are in the Canadian Archives. Several of them which I have, show him to have been a man of sensibility and refinement. He said he was a British subject because he had been abandoned by France at the peace. One of them is a long and interesting letter dated at "Fort Gage, July 4, 1778", which was probably sent off by boat a few hours before he was captured by Col. Clark. He was a prisoner in Virginia until the autumn of 1780, when he broke his parole and went to New York (Jefferson's Writings, i. 258). His family were left at Kaskaskia; and Gov. Henry of Virginia, in his instructions to Col. John Todd, Dec. 12, 1778, says: "Mr. Rocheblave's wife and family must not suffer for want of that property of which they were bereft by our troops. It is to be restored to them, if possible. If this cannot be done, the public must support them." (Calendar of Va. Papers, i. 314). His wife, signing her name "Marie Michel de Rocheblave", wrote from Kaskaskia, March 27, 1780, to Gen. Haldimand, appealing to his humanity for pecuniary help, as the rebels had taken everything from her but her debts. (MS. letter furnished to me by Mr. B. F. Stevens.)
[1507] The only garrison left in the fort when Gov. Hamilton and his troops appeared was Capt. Helm and his one soldier, whose name was Moses Henry. The latter placed a loaded cannon at the open gate, and Capt. Helm, standing by with a lighted match, commanded the British troops to halt. Hamilton demanded the surrender of the garrison. Helm refused, and asked for terms. Hamilton replied that they should have the honors of war, and the terms were accepted. The comical aspect of the garrison, consisting of one officer and one soldier, marching out of the fort between lines of disgusted Indians on one side and British soldiers on the other, is happily illustrated in Gay's Hist. of U. S., iii. 612. See note in Clark's Campaign, p. 52; Butler's Hist. of Kentucky, p. 80; Monette, i. 425; Perkins's Annals, p. 207. Gov. Hamilton describes the surrender without mentioning this humorous incident, thus: "The officer who commanded in the fort, Capt. Helm, being deserted by the [resident French] officers and men, who to the number of seventy had formed his garrison, and were in pay of the Congress, surrendered his wretched fort on the very day of our arrival, being the 17th day of December, 1778." (Report of July 6, 1781.)
[1508] Gov. Reynolds (Pioneer History, p. 101, ed. 1887) says Col. Vigo was sent to Vincennes by Clark as a spy; that he was captured by the Indians and taken to Hamilton, who suspected the character of his mission; and that he was released on the ground of his being a Spanish subject, and having influential friends among the French residents. Hamilton in his report makes no mention of Vigo by name, but says that men were stationed at the mouth of the Wabash to intercept boats on the Ohio; and that they at different times brought in prisoners and prevented intelligence being carried from Vincennes to the Illinois, "till the desertion of a corporal and six men from La Mothe's company, in the latter end of January, who gave the first intelligence to Col. Clark of our arrival." In Reynolds's Pion. Hist. p. 423, is a biographical sketch of Col. Vigo, by H. W. Beckwith, and a portrait. See also Law's History of Vincennes, pp. 28-30. Vigo helped Clark by cashing his drafts, and the story of a consequent suit for recovery of the money, which did not end till 1876 in the U. S. Supreme Court, is told by C. C. Baldwin in the Mag. of West. Hist., Jan., 1885, p. 230.—Ed.
[1509] Clark, in his letter to George Mason, scarcely alludes to the sufferings endured on this march. He says: "If I was sensible that you would let no person see this relation, I would give you a detail of our sufferings for four days in crossing these waters, and the manner it was done, as I am sure you would credit it; but it is too incredible for any person to believe except those that are as well acquainted with me as you are, or had experienced something similar to it. I hope you will excuse me until I have the pleasure of seeing you personally" (Campaign, p. 66). In his later narrative he spoke on the subject more freely (Dillon, 139-146), and his account is confirmed by Bowman's journal.
[1510] She arrived on the 27th, three days after the surrender, "to the great mortification of all on board that they had not the honor to assist us", says Bowman. Clark, in his captured report, writing on the same day, says: "The Willing arrived at 3 o'clock. She was detained by the strong current on the Wabash and Ohio; two Lieutenants and 48 men, with two iron four-pounders and five swivels on board."
[1511] An allusion to Gov. Hamilton's practice of paying the Indians for scalps, and not for prisoners. The proclamation is in Dillon, p. 146; Bowman's Journal, p. 104. [See ante, p. 683.—Ed.]
[1512] Bowman gives (p. 105-108) the correspondence with Hamilton, the articles of capitulation, etc., some of which are omitted in Clark's narratives. Hamilton in his Report describes Clark's demand on him to surrender thus: "About eight o'clock a flag of truce from the rebels appeared, carried by Nicolas Cardinal, a captain of the militia of St. Vincennes, who delivered me a letter from Col. Clark requiring me to surrender at discretion; adding, with an oath, that if I destroyed any stores or papers, I should be treated as a murtherer." Hamilton asserts that Clark was supplied with gunpowder by the inhabitants of Vincennes, "his own, to the last ounce, being damaged [by water] on the march;" and that "Clark has since told me he knew to a man those of my little garrison who would do their duty, and those who would shrink from it. There is no doubt he was well informed."
[1513] Hamilton in his Report enlarges on the barbarity of this transaction. The indignation and resentment felt by Clark and his men towards Hamilton, and the occasion for it, appear in a conversation concerning the terms of surrender, which Clark gives in his captured despatch: "Hamilton. 'Col. Clark, why will you force me to dishonor myself when you cannot acquire more honor by it?' Clark. 'Could I look on you as a gentleman, I would do the utmost in my power; but on you, who have imbrued your hands in the blood of our women and children—honor, my country, everything, calls aloud for vengeance.' Hamilton. 'I know, sir, my character has been stained, but not deservedly; for I have always endeavored to instill humanity, as much as in my power, in the Indians, whom the orders of my superiors obliged me to employ.' Clark. 'Sir, speak no more on this subject; my blood glows within my veins to think on the cruelties your Indian parties have committed; therefore, repair to your fort, and prepare for battle'—on which I turned off."
The following incidents illustrate the sort of humanity which Hamilton, and other British commandants at Detroit, instilled in the Indian mind: At a council, on July 3, 1778, Gov. Hamilton presented an axe to the chief, saying: "It is the king's command that I put this axe into your hands to act against his majesty's enemies. I pray the Lord of life to give you success, as also your warriors, wherever you go with your father's axe." The item "60 gross scalping-knives" are among the official "estimates of merchandise wanted for Indian presents at Detroit from Aug. 21, 1782, to Aug. 20, 1783", signed by A. S. De Peyster, Lieut.-Gov. (Farmer's Hist. of Detroit, p. 247). The same writer (p. 246) states that he has seen the original entry of sale, on June 6, 1783, of "16 gross red-handled scalping-knives, £80;" and on July 22d, of 24 dozen more to the same parties.
[1514] Among Hamilton's reasons, in the articles of capitulation, for surrender were: "The honorable terms allowed, and lastly, the confidence in a generous enemy." For this compliment to Clark he apologized in his Report as follows: "If it be considered that we were to leave our wounded men at the mercy of a man who had shown such instances of ferocity, as Col. Clark had lately done, a compliment bespeaking his generosity and humanity may possibly find excuse with some, as I know it has censure from others."
[1515] Hamilton states that Capt. Helm was the officer in command of the expedition,—a fact which Clark omitted to mention.
[1516] Hamilton says: "The day before Capt. Helm, who commanded the party sent to take the convoy, arrived at Ouattanon, Mr. Dejean heard that we had fallen into the hands of the rebels; but he had not sufficient presence of mind to destroy the papers which, with everything else, was seized by the rebels. Besides the provision, clothing, and stores belonging to the king, all the private baggage of the officers fell into the possession of Col. Clark."
[1517] Dillon, p. 158.
[1518] On March 7th, "Capt. Williams and Lieut. Rogers, with twenty-five men, set off for the Falls of Ohio to conduct the following prisoners, viz.: Lieut.-Gov. Hamilton, Major Hays [Hay], Capt. La Mothe [La Mothe], Mons. Dejean, grand judge of Detroit, Lieut. Shiflin [Scheifflin], Doct. M'Beth [McBeath], Francis M'Ville [Maisonville], Mr. Bell Fenilb [Bellefeuille], with eighteen privates" (Bowman, p. 109). Hamilton does not give a list of his fellow-prisoners, but the above names, as he gives them elsewhere in his Report, are inserted in brackets. He says: "On the 8th of March we were put into a heavy oak boat, being 27 in number, with our provision of flour and pork at common ration, and 14 gallons of spirits for us and our guard, which consisted of 23 persons, including two officers. We had before us 360 miles of water carriage and 840 to march to our place of destination, Williamsburg, Va." (Mich. Pion. Col., p. 506). "On the 16th, most of the prisoners took the oath of neutrality, and got permission to set out for Detroit" (Ibid. 110). Gov. Hamilton and his associates were sent to Williamsburg, and by sentence of the executive council were placed in close imprisonment in irons, for their treatment of captives and for permitting and instigating the Indians to practise every species of cruelty and barbarism upon American citizens, without distinction of age, sex, or condition (see Journals of Congress, ii. 340; Jefferson's Writings, i. 226-237, 258, 267; Sparks's Washington, vi. 315, 407; Corresp. of the Rev., ii. 323; Hamilton's narrative from the Royal Gazette, July 15, 1780, in Mag. Amer. Hist., i. 186; Monette, i. 431; Farmer's Hist. of Detroit, p. 252). In October, 1780, Hamilton was sent to New York on parole, in order to procure the release of some American officers (Sparks MSS., no. lxvi.).
For details of the Vincennes expedition, see Clark's Campaign (1869), p. 62-87; Dillon's Indiana (1843), pp. 151-184; 2d edition, pp. 137-167; Butler's Kentucky, p. 79; Beckwith's Hist. Notes, pp. 250-259; Davidson's Illinois, p. 193; Brown's Illinois, p. 241; Perkins's Annals, p. 208; Withers's Border Warfare, p. 188; Monette, i. 427; Hall's Sketches of the West, ii., 117; Marshall's Washington, iii. 562; Mag. of West. Hist., by Mary Cone, ii. 133; Hist. Mag., i. 168, by John Reynolds; Judge Law's address (1839), in Va. Hist. Reg., vi. 61; Ninian W. Edwards's Hist. of Illinois (1778-1833). There is a map of the campaign in Blanchard's North-West.
[1519] The enactment is in Hening's Virginia Statutes, ix. 552, and in Legal Adviser (Chicago, 1886), vii. 284. Cf. "Virginia's Conquest—the Northwest Territory", by J. C. Wells, in the Mag. of Amer. Hist., Nov., 1886.
[1520] Clark's Campaign, p. 84. "I am glad to hear of Col. Todd's appointment", he wrote to Jefferson (i. 225).
[1521] His proclamation of June 15, 1779, is in Dillon, p. 168; Davidson's Illinois, p. 202.
[1522] See lists of the officials in Edward G. Mason's Col. John Todd's Record-Book (no. 12 Fergus's Historical Series, 1882), p. 54. Mr. Mason's paper is an interesting account of Col. Todd's administration, and of the state of the Illinois county at that time. Col. Todd was killed in battle with the Indians at Blue Licks, Ky., Aug. 18, 1782. See Col. Logan's account of the battle, Col. Va. State Papers, iii. 280, 300; Perkins's Annals, p. 270.
[1523] Butler's Kentucky, p. 108; Withers's Border Warfare, p. 197.
[1524] An autograph letter of Jefferson to Washington, Feb. 10, 1780, urging reinforcements for Clark, is in the Sparks MSS., xlix. vol. iii. Various intercepted letters of Clark, including one of Sept. 23, 1779, to Jefferson, about fortifying the mouth of the Ohio, are among the Carleton Papers, in the London Institution, and are copied in the Sparks MSS., xiii. On May 26, 1780, St. Louis had been attacked by the English with Indian allies (Mag. Western Hist., Feb., 1785, p. 271, by Oscar W. Collet). It was through Vigo that Clark established intimate relations with the Spanish lieutenant-governor De Leyba, and Clark is said to have offered assistance in the defence of that Spanish post.—Ed.
[1525] Withers's Border Warfare, p. 213; Perkins's Annals, p. 235; Butler's Kentucky, p. 110.
[1526] [See ante, p. 681.—Ed.]
[1527] Writings, i. 259. The letter abridged is in Sparks's Corresp. of the Am. Rev., iii. 98.
[1528] Writings, i. 280; Sparks's Corresp., etc., iii. 175.
[1529] Gen. Washington instructed Col. Brodhead to see that no Continental officer outranked Col. Clark. "I do not think", he wrote, "that the charge of the enterprise could have been committed to better hands. I have not the pleasure of knowing the gentleman personally; but independently of the proofs he has given of his activity and address, the unbounded confidence which, I am told, the Western people repose in him is a matter of vast importance.... In general, give every countenance and assistance to this enterprise. I shall expect a punctual compliance with this order. Col. Clark will probably be the bearer of this himself" (Writings, vii. 343-345).
[1530] Sparks's Corresp., etc., iii. 244.
[1531] [See ante, pp. 495, 546.—Ed.]
[1532] Writings, i. 288. See Steuben's report to Washington, Sparks's Corresp., etc., iii. 204. At the time of Arnold's descent on Virginia, a scheme was devised by Jefferson and Baron Steuben to capture the arch-traitor alive, and hang him. The scheme is set forth in a letter of Jefferson, with no address (Writings, i. 289), dated Richmond, Jan. 21, 1781; and it immediately follows the one describing Col. Clark's ambuscade. The purpose of the letter is to enlist the services of the person addressed in this hazardous enterprise. The writer says he has "peculiar confidence in the men from the western side of the mountains, whose courage and fidelity would be above all doubt. Your perfect knowledge of those men personally, and my confidence in your discretion, induces me to ask you to pick from among them proper characters, in such numbers as you think best, and engage them to undertake to seize and bring off this greatest of all traitors. Whether this may be best effected by their going in as friends and awaiting their opportunity, or otherwise, is left to themselves. The smaller the number the better, so that they be sufficient to manage him." He offers them a reward of five thousand guineas for bringing him off alive, and says "their names will be recorded with glory in history with those of Vanwert, Paulding, and Williams." The editor states in a note that the person addressed "was probably Gen. [John Peter Gabriel] Mühlenberg." Gen. Mühlenberg was a Pennsylvanian, and never resided west of the mountains. The person was doubtless George Rogers Clark, who was then in Virginia, and was too deeply interested in his Detroit expedition to engage in the scheme.
[1533] Sparks's Corresp., etc., iii. 323.
[1534] Ibid. iii. 455. "I think", Gen. Irvine adds, "there is too much reason to fear that Gen. Clark's and Col. Gibson's expeditions falling through will greatly encourage the savages to fall on the country with double fury, or perhaps the British from Detroit to visit this post [Fort Pitt], which, instead of being in a tolerable state of defence, is, in fact, nothing but a heap of ruins." The relations of Detroit to the war in the Northwest, as the centre of British intrigues among the Indians, and of British instigation of the savages to make forays on the region of the Ohio, is well set forth in Charles I. Walker's Northwest during the Revolution, the annual address before the Wisconsin Hist. Soc. in 1871 (Madison, 1871; also in Pioneer Soc. of Michigan Coll., iii., Lansing, 1881). A plan of the Detroit River at this time is given in Parkman's Pontiac, vol. i. Col. Arent Schuyler De Peyster, who commanded at Detroit, 1776-1785, gives something of his experiences in his Miscellanies by an Officer (Dumfries, 1813). The latest history of Detroit is Silas Farmer's Detroit and Michigan (Detroit, 1884), where, in ch. 39, the revolutionary story is told. He has retold it in the Mag. of Western Hist., Jan., 1886.
Brymner's Report on the Canadian Archives, 1882, p. 11, calendars the correspondence and papers relating to Detroit, 1772-1784, being in large part the correspondence of Gov. Hamilton and Carleton, including letters from Vincennes and intercepted letters of G. R. Clark. Much of the military correspondence with the commandants at Detroit and Quebec, during this period, are in the series "America and West Indies" of the Public Record Office, vols. cxxi., etc., which are calendared in Brymner's Report, 1883, p. 50, etc., as well as in the series "Canada and Quebec", vols. lv., etc. (Ibid. p. 73, etc.). There is also among the Haldimand Papers (Calendar, p. 204) a description of the route from Detroit to the Illinois and Mississippi country, 1774.—Ed.
[1535] Virginia, later, made amends for this wrong. See Butler's Kentucky, 2d edition, p. 537.
[1536] See his report to Gov. Harrison, in Butler's Kentucky, 2d edition, p. 536; Almon's Remembrancer (1783), part 2, p. 93.
[1537] See Dillon, p. 179; Perkins's Annals, p. 278. In Jefferson's Writings, iii. 217, 218, and Cal. Va. State Papers, iv. 189, 202, will be found some sad incidents which throw light on the habits and subsequent record of Col. Clark. In 1793 he imprudently accepted from Genet, the French minister, a position in the service of France, with the rank of major-general and commander-in-chief of the French revolutionary legions on the Mississippi River. The purpose of this revolutionary scheme, which had many supporters in Kentucky and the West, was "to open the trade of the said river and give freedom to the inhabitants", by capturing and holding the Spanish settlements on the Mississippi. The troops were to receive pay as French soldiers, and donations of land in the conquered districts. Before the scheme could be put into execution, a counter-revolution occurred in France, Genet was recalled, and Clark's commission was cancelled. See Collins's Kentucky, i. 277; ii. 140; McMaster, Hist. of U. S., ii. 142; Washington's Message against Genet and his scheme is in Writings, xii. 96. For Clark's reputation and the achievements up to 1781, see Marshall's Washington, iii. 562; Rives's Madison, i. 193; Withers's Border Warfare, p. 190; Harper's Mag. (by R. F. Colman), xxii. 784; xxxiii. 52; xxviii. 302; Potter's Am. Monthly (by W. W. Henry), v. 908; vi. 308; vii. 140; Ibid. (by S. Evans), vi. 191, 451; Western Jour. (St. Louis, 1850), iii. 168, 216; John Reynolds in Hist. Mag., June, 1857; Collins's Kentucky. He was styled by John Randolph "the Hannibal of the West", and by Gov. John Reynolds "the Washington of the West." He was never married. He died February 13, 1818, and was buried at Locust Grove, near Louisville, Ky.
The only portrait of him extant was painted by John W. Jarvis, an English artist, who began business in New York in 1801, and painted the heads of many distinguished Americans. He made a trip West and South, during which he made many portraits. The picture of Clark represents him about sixty years of age. The best engraving of it is in the National Portrait Gallery, iv., with a biography. It is the frontispiece of Butler's Kentucky, 1834, of Dillon's Indiana, 1859, and in the Cincinnati edition of Clark's Campaign; and woodcuts are in Lossing's Field-Book, ii. 287; Mag. of Western Hist., ii. 133; Harper's Mag., xxviii. 302, etc. It has been many times reproduced, with a modification of details. There have been many rumors as to the existence of a portrait taken earlier in life. Every alleged portrait of an earlier date which I could hear of, I have looked up, and find that they are all copies or modifications of the Jarvis picture.
[1538] In 1772, the whole community of Moravian missionaries and their Indian converts at Friedenshütten, in Pennsylvania, where they had dwelt for seven years, removed to the valley of the Muskingum, on the cordial invitation of the Delawares. For many years, when living in the vicinity of the English settlements, they had suffered much from persecution; but now that they had their home among savages, it seemed to them that their trials were ended.
[1539] The Sandusky of that period was on the head-waters of the Sandusky River, about seventy-five miles east of south from the modern Sandusky City on Lake Erie. Its location was near what is now known as Upper Sandusky, in Wyandot County, Ohio. The region was a fertile plain, and the home of the Wyandots.
[1540] See "The Identity and History of the Shawanese Indians", by C. C. Royce, in the Mag. of Western Hist., ii. 38.
[1541] The fact that the Moravians had accompanied the Wyandots to the country of Sandusky was used as evidence against them.
[1542] It is to the credit of the British officers at Detroit that they befriended the Moravians, and assigned them a tract of land in Michigan.
[1543] See C. F. Post's first visit to the Western Indians by T. J. Chapman, in Mag. of Western Hist., iii. 123. For the general subject of the Moravian missions in Ohio, see Loskiel, Memoirs of the United Brethren, Part II.; Heckewelder, Narrative, pp. 213-328; Holmes, Missions of the United Brethren, p. 110; Schweinitz, Life of Zeisberger, pp. 368-590; Rondthaler, Life of Heckewelder, p. 66; Gnadenhütten, by W. D. Howells, in Atlantic Monthly, xxiii. 95; Withers, p. 230; Doddridge, p. 248; Monette, ii. 129; Amer. Pioneer, ii. 425; Perkins, Annals, p. 258. Cf. also the Diary of David Zeisberger, a Moravian missionary among the Indians of Ohio (1781-1798); translated from the original German manuscript and edited by E. F. Bliss, 2 vols. (Cincinnati, 1885).
[1544] Col. Crawford was a friend of Washington, and had been one of his surveyors. "It is with the greatest sorrow", wrote Washington, "that I have learned the melancholy tidings of Col. Crawford's death. He was known to me as an officer of much prudence, brave, experienced, and active. The manner of his death was shocking to me, and I have this day communicated to Congress such papers as I have regarding it." Cf. C. W. Butterfield's Washington-Crawford letters, 1767-1781 (Cincinnati, 1877,—Thomson's Bibliog. of Ohio, no. 147).
[1545] See Narratives of the perils and sufferings of Dr. Knight and John Slover, among the Indians, during the Revolutionary war; with short memoirs of Col. Crawford and John Slover, and a letter from H. Brackinridge, on the rights of the Indians, etc. (Cincinnati, 1867), pp. 12-31; (for earlier editions see Thomson's Bibliog. of Ohio, nos. 682-685;) Perkins's Annals, p. 262; Doddridge, p. 264; Withers, p. 242; "Crawford's Campaign", by N. N. Hill, Jr., in the Mag. of West. Hist., ii. 19; McClung's Sketches, p. 128. Schweinitz's Zeisberger, p. 564; Amer. Pioneer, ii. 177; Hist. Mag., xxi. 207; Isaac Smucker's "Ohio Pioneer History" in Ohio Sec. of State's Annual Report, 1879, pp. 7-28. Cf. also C. W. Butterfield's Hist. Acc. of the Exped. against Sandusky (Cincinnati, 1873,—Thomson's Bibliog. of Ohio, no. 146); and, on the general military transactions of this period in the West, the same editor's Washington-Irvine correspondence. The official letters which passed between Washington and William Irvine and between Irvine and others concerning military affairs in the West from 1781 to 1783. Arranged and annotated. With an introduction containing an outline of events occurring previously in the trans-Alleghany country (Madison, Wis., 1882). Cf. Penna. Mag. of Hist., vi. 371. Sparks made copies of many of these Irvine papers in 1847 (Sparks MSS., no. liv.).—Ed.
[1546] For a summary of these discussions, see Perkins, Annals (Peck's ed., 1850), pp. 242-250. Judge Hall, Sketches of the West, i. 171, gives the date "May 6, 1778"; Wilson Primm, Historical Address, 1847 (reprinted in Western Journal, 1849, ii. 71), gives "May, 1779", as the date, and says 1779 is an era in the history of St. Louis, and is designated as "L'Année du coup." Nicollet, Early St. Louis, gives "May, 6, 1780", and Martin, Louisiana, "the fall of 1780." Stoddard, Sketches of Louisiana, without naming the month and day, gives the year and the main facts correctly; but errs in stating that "the expedition was not sanctioned by the English court, and the private property of the commandant was seized to pay the expenses of it." As to the casualties, Stoddard (p. 80) says, "60 killed and 30 prisoners;" Nicollet (p. 85), "60 killed and 13 prisoners;" Primm, "20 killed;" and Billon, Annals of St. Louis, 1886 (p. 196), "seven persons were killed", and he furnishes a list of their names. Sinclair, in report to Haldimand, July 8, 1780, says: "At Pencour [St. Louis], 68 were killed, and 18 blacks and white people taken prisoners; 43 scalps were brought in. The rebels lost an officer and three men killed at the Cahokias, and five prisoners" (Mich. Pion. Col., ix. 559). Martin (ii. 53) says "Clark released about 50 prisoners that had been made."
[1547] Brymner's Calendar of the Canadian Archives, including (1) the Haldimand collection; (2) the publication of some of the Haldimand papers in Michigan Pioneer Collec., ix.; and (3) the Calendar of Virginia State Papers, Richmond, v. i., vi.
[1548] In March, 1766, Ulloa, from Havana, landed at New Orleans, and in the name of Spain took possession of Louisiana; but found himself obliged to administer the government under the old French officers, and in 1768 the French set up for a while a republic independent of Spain. Cf. Gayarré's Louisiana, and Lieutenant John Thomas's account of Louisiana in 1768 in Hist. Mag., v. 65.
Congress maintained an agent, Oliver Pollock, at New Orleans during the war, who, with the aid of the Spanish authorities, sent powder and supplies at intervals up the river, to be landed on the Ohio (George Sumner's Boston Oration, 1859, p. 14). The correspondence of Pollock and Congress is in the archives of the State Department at Washington, and copies are in the Sparks MSS., no. xli. An account of an expedition under Col. David Rogers in 1778, to bring up stores to Fort Pitt, is in Hist Mag., iii. 267.
Various letters about and from New Orleans during the war are in the Sparks MSS. (no. xxiii.), copied from the Grantham correspondence. Intercepted letters between the Spanish governor at New Orleans and Patrick Henry (1778-1779), found among the Carleton papers, are in the Sparks MSS., no. xiii.—Ed.
[1549] Gayarré, History of Louisiana, Spanish Domination, p. 121.
[1550] Brymner, 1885, p. 276.
[1551] "In compliance with my Lord George Germain's requisition in the circular letter sent from Detroit on 22d January, I sent a war party of Indians to the country of the Sioux to put that nation in motion under their own chief, Wabasha, a man of uncommon abilities.... They are directed to proceed with all despatch to the Natchez, and to act afterwards as circumstances may require. I shall send other bands of Indians from thence on the same service as soon as I can with safety disclose the object of their mission. I am at a loss to judge in point of time, and can only hazard an opinion that the Brigadier [Campbell] and his army will be at the place of their destination some time in May" (Michigan Pioneer Coll., ix. 544).
The same day, Sinclair wrote to Capt. Brehm, Haldimand's aide-de-camp: "I will use my utmost endeavors to send away as many as I can of the Indians to attack the Spanish settlements as low down [the Mississippi] as they possibly can, in order to procure the assistance of the others at home. I am so perfectly convinced of the general's [Haldimand's] geographical knowledge that I do not know where to look for the cause of a doubt about giving some aid to General Campbell from this quarter.... I am at a loss to know whether this preparation may not be too early, on account of want of secrecy in the people I have employed, and from their getting too near [New] Orleans before the arrival of the brigadier. I have confidence in and hopes of their leader, as Wabasha is allowed to be a very extraordinary Indian, and well attached to his majesty's interest" (Ibid. pp. 541-543).
February 17, he writes again to Haldimand, that the Minomines, Puants, Sacs, and Rhenards were to assemble at the portage of the Wisconsin and Fox rivers under a Mr. Hesse, a trader; and later to rendezvous at the confluence of the Mississippi and Wisconsin rivers, Prairie du Chien. "The reduction of Pencour [pain court (short bread), the common nickname of St. Louis] by surprise, from the easy admission of the Indians of that place, will be less difficult than holding it afterwards.... The Sioux shall go with all dispatch as low down as the Natchez, and as many intermediate attacks as possible shall be made" (Ibid. pp. 546, 547).
May 29, he again writes that seven hundred and fifty men, including traders, servants, and Indians, proceeded down the Mississippi on the second day of May, with the Indians engaged at the westward, for an attack on the Spanish and Illinois country. He mentions Prairie du Chien as the place of assembling. "Capt. Hesse will remain at Pencour; Wabasha will attack Misère [wretchedness, the popular nickname for Ste. Geneviève] and the rebels at Kacasia [Kaskaskia]. Two vessels leave this place on the 2d of June to attend Machigwawish, who returns by the Illinois River with prisoners. All the traders who will secure the posts on the Spanish side of the Mississippi during the next winter have my promise for the exclusive trade of the Missouri during that time, and that their canoes will be forwarded" (Ibid. 548, 549).
[1552] Brymner, Report, 1882, p. 34. He writes to Sinclair, March 12: "Your movements down the [Mississippi] shall be seconded from this place by my sending a part of the garrison with some small ordnance. Their route shall be to the Ohio, which they shall cross, and attack some of the forts which surround the Indian hunting-ground of Kentucky. I have had the Wabash Indians here by invitation; they have promised to keep Clark at the Falls" (Michigan Pioneer Coll., p. 580). His allusions are to Capt. Byrd's expedition. May 18, he again writes to Sinclair: "Capt. Byrd left this place (Detroit) with a detachment of about 150 whites and 1000 Indians. He must be by this time nigh the Ohio" (Ibid. P. 582).
[1553] Among his prisoners were Col. Dickson, in command of the British settlements on the Mississippi; 556 regulars, and many sailors.
[1554] Gayarré, Louisiana, Span. Dom., pp. 121-147. Galvez discovered, by intercepted letters from Natchez, the scheme of the English to attack the Spanish settlements as early as it was known by Sinclair (p. 122), and he was earnest to strike the first blow. Clark also heard of it very early. Sinclair, writing to Haldimand, says: "No doubt can remain, from the concurrent testimony of the prisoners, that the enemy received intelligence of the meditated attack on the Illinois about the time I received a copy of my Lord George Germain's circular letter" (Mich. Pion. Coll., ix. 559). In the same letter he gives some details of the raids on St. Louis and Cahokia, which do not appear elsewhere: "Twenty of the volunteer Canadians from this place and a very few of the traders and servants made their attack on Pencour and the Cahokias. The Winnipigoes and Sioux would have stormed the Spanish lines, if the Sacs and Outagamies, under their treacherous leader Mons. Calvé, had not fallen back so early. A Mons. Ducharme and others who traded in the country of the Sacs kept pace with Mons. Calvé in his perfidy. The attack, unsuccessful as it was, from misconduct, and unsupported, I believe, by any other against New Orleans, with the advances made by the enemy on the Mississippi, will still have its good consequences. The Winnepigoes had a chief and three men killed and four wounded. The traders who would not assist in extending their commerce cannot complain to its being confined to necessary bounds." Writing later to De Peyster (Ibid. 586), he says: "The attack upon the Illinois miscarried from the treachery of Calvé and Ducharme, traders, and from the information received by the enemy so early as March last." For statements that the expedition against St. Louis was organized and led by Jean Marie Ducharme, see Wis. Hist. Coll., iii. 232; vii. 176. It is evident that the objective point of the attack, in Sinclair's mind, was the Illinois country, rather than the Spanish settlements. Haldimand, writing to De Peyster, Feb. 12, 1779, said: "Sinclair should strike at the Illinois" (Brymner, 1882, p. 33). Sinclair, writing to Brehm, Feb. 17, 1780, concerning the attack on St. Louis, said: "Afterwards they can act against the rebels on this side [of the Mississippi], which I have pointed out to them" (Mich. Pion. Coll., ix. 543).
[1555] Sinclair seems not to have heard of the capture of Natchez by the Spaniards, which occurred Sept. 21, 1779, until July 30, 1780, when he wrote to De Peyster: "The report of the Natchez seems too well founded" (Ibid. 587).
[1556] Ibid. 547, 548.
[1557] Stoddard and Martin state that Clark was present; Nicollet denies the statement, on the ground that Clark was then at Kaskaskia, and "that gallant officer could not have had time to aid in that affair." Hall and Billon make no mention of Clark; and Primm and Peck (in Perkins) say that Clark tendered aid to Leyba in 1779, but not in 1780. It was a part of Clark's policy to be always on friendly terms with the Spanish commandant at St. Louis (Campaign, p. 35), and to give aid whenever he needed it. In so doing, as they were fighting a common enemy, he served his own interests. Mr. O. W. Collet, in Mag. of Western Hist., i. 271, has discussed the friendly relations between Clark and Leyba before the attack on St. Louis, but is unmindful of the significance given to it in the text. See also Scharff's Hist. of St. Louis, p. 217.
[1558] The expedition of Captain Byrd from Detroit.
[1559] Sinclair reported to Haldimand, July 8th, "Two hundred Illinois cavalry arrived at Chicago five days after the vessels left" (Mich. Pion. Coll., ix. 558).
[1560] Dr. Lyman C. Draper (Wisconsin Hist. Coll., ix. 291) says: "There was a party of Spanish allies sent out with Montgomery's expedition from Cahokia in the latter part of May, 1780, in the direction of Rock River." See also his note (Ibid. vii. 176). He thinks that the Spaniards and some of the Americans probably returned by way of Prairie du Chien, and that they were the party mentioned by Long in his Voyages, 1791.
[1561] Michigan Pioneer Col., ix. 541. Capt. Byrd, writing to De Peyster, May 21, 1780, reports that a Delaware Indian has come in from the Falls with this information: "Col. Clark says he will wait for us, instead of going to the Mississippi; his numbers do not exceed 200; his provisions and ammunition short" (Ibid. 584). Clark was on his way to St. Louis before this date, and was back to Kentucky in season to block Byrd's plans.
[1562] Perkins's Annals, p. 245.
[1563] It is noticeable that in these decisive campaigns efficient aid was furnished in the West by Spain, and in the East by France; and that both these powers, in the negotiations for a treaty of peace with Great Britain, threw their influence against the interests of the United States.
[1564] See Gayarré, Louisiana, Span. Dom., p. 134; Pitkin's United States, ii. 88, App. 512; Secret Jour. of Cong., ii. 326.
[1565] Sparks's Dipl. Corresp., viii. 156. The Spanish claims and the Western boundary question are very fully discussed in this eighth volume.
[1566] Mr. Jay (Sparks's Dipl. Corres., viii. 76-78) gives the main facts concerning the Spanish expedition to St. Joseph, which he translated from the Madrid Gazette of March 12, 1782. Mr. E. G. Mason (Mag. of Amer. Hist., xv. 457) has treated the subject more fully in a paper entitled "March of the Spaniards across Illinois in 1781." See also Reynolds's Illinois, ed. 1887, p. 126; Dillon's Indiana, ed. 1843, p. 190; Perkins's Annals, ed. 1851, p. 251.
Dr. Franklin, writing from Passy, April 12, 1782, to Secretary Livingston, said: "I see by the newspapers that the Spaniards, having taken a little post called St. Joseph, pretend to have made a conquest of the Illinois country. In what light does this proceeding appear to Congress? While they decline our offered friendship, are they to be suffered to encroach on our bounds, and shut us up within the Appalachian Mountains? I begin to fear they have some such project" (Works, Sparks, ix. 206).
[1567] The diplomacy of the war and the final negotiations for peace, form the subjects of the opening chapters of the succeeding volume of the present History.—Ed.
[1568] Some of the copies bear other dates.
TRANSCRIBER'S NOTE:
—Obvious errors were corrected.
—The transcriber created the book cover image using the title page of the original book. The image is placed in the public domain.
***END OF THE PROJECT GUTENBERG EBOOK NARRATIVE AND CRITICAL HISTORY OF AMERICA, VOL. VI (OF 8)***
******* This file should be named 51789-h.htm or 51789-h.zip *******
This and all associated files of various formats will be found in:
http://www.gutenberg.org/5/1/7/8/51789
Updated editions will replace the previous one--the old editions will be renamed.
Creating the works from print editions not protected by U.S. copyright law means that no one owns a United States copyright in these works, so the Foundation (and you!) can copy and distribute it in the United States without permission and without paying copyright royalties. Special rules, set forth in the General Terms of Use part of this license, apply to copying and distributing Project Gutenberg-tm electronic works to protect the PROJECT GUTENBERG-tm concept and trademark. Project Gutenberg is a registered trademark, and may not be used if you charge for the eBooks, unless you receive specific permission. If you do not charge anything for copies of this eBook, complying with the rules is very easy. You may use this eBook for nearly any purpose such as creation of derivative works, reports, performances and research. They may be modified and printed and given away--you may do practically ANYTHING in the United States with eBooks not protected by U.S. copyright law. Redistribution is subject to the trademark license, especially commercial redistribution.
To protect the Project Gutenberg-tm mission of promoting the free distribution of electronic works, by using or distributing this work (or any other work associated in any way with the phrase "Project Gutenberg"), you agree to comply with all the terms of the Full Project Gutenberg-tm License available with this file or online at www.gutenberg.org/license.
1.A. By reading or using any part of this Project Gutenberg-tm electronic work, you indicate that you have read, understand, agree to and accept all the terms of this license and intellectual property (trademark/copyright) agreement. If you do not agree to abide by all the terms of this agreement, you must cease using and return or destroy all copies of Project Gutenberg-tm electronic works in your possession. If you paid a fee for obtaining a copy of or access to a Project Gutenberg-tm electronic work and you do not agree to be bound by the terms of this agreement, you may obtain a refund from the person or entity to whom you paid the fee as set forth in paragraph 1.E.8.
1.B. "Project Gutenberg" is a registered trademark. It may only be used on or associated in any way with an electronic work by people who agree to be bound by the terms of this agreement. There are a few things that you can do with most Project Gutenberg-tm electronic works even without complying with the full terms of this agreement. See paragraph 1.C below. There are a lot of things you can do with Project Gutenberg-tm electronic works if you follow the terms of this agreement and help preserve free future access to Project Gutenberg-tm electronic works. See paragraph 1.E below.
1.C. The Project Gutenberg Literary Archive Foundation ("the Foundation" or PGLAF), owns a compilation copyright in the collection of Project Gutenberg-tm electronic works. Nearly all the individual works in the collection are in the public domain in the United States. If an individual work is unprotected by copyright law in the United States and you are located in the United States, we do not claim a right to prevent you from copying, distributing, performing, displaying or creating derivative works based on the work as long as all references to Project Gutenberg are removed. Of course, we hope that you will support the Project Gutenberg-tm mission of promoting free access to electronic works by freely sharing Project Gutenberg-tm works in compliance with the terms of this agreement for keeping the Project Gutenberg-tm name associated with the work. You can easily comply with the terms of this agreement by keeping this work in the same format with its attached full Project Gutenberg-tm License when you share it without charge with others.
1.D. The copyright laws of the place where you are located also govern what you can do with this work. Copyright laws in most countries are in a constant state of change. If you are outside the United States, check the laws of your country in addition to the terms of this agreement before downloading, copying, displaying, performing, distributing or creating derivative works based on this work or any other Project Gutenberg-tm work. The Foundation makes no representations concerning the copyright status of any work in any country outside the United States.
1.E. Unless you have removed all references to Project Gutenberg:
1.E.1. The following sentence, with active links to, or other immediate access to, the full Project Gutenberg-tm License must appear prominently whenever any copy of a Project Gutenberg-tm work (any work on which the phrase "Project Gutenberg" appears, or with which the phrase "Project Gutenberg" is associated) is accessed, displayed, performed, viewed, copied or distributed:
This eBook is for the use of anyone anywhere in the United States and most other parts of the world at no cost and with almost no restrictions whatsoever. You may copy it, give it away or re-use it under the terms of the Project Gutenberg License included with this eBook or online at www.gutenberg.org. If you are not located in the United States, you'll have to check the laws of the country where you are located before using this ebook.
1.E.2. If an individual Project Gutenberg-tm electronic work is derived from texts not protected by U.S. copyright law (does not contain a notice indicating that it is posted with permission of the copyright holder), the work can be copied and distributed to anyone in the United States without paying any fees or charges. If you are redistributing or providing access to a work with the phrase "Project Gutenberg" associated with or appearing on the work, you must comply either with the requirements of paragraphs 1.E.1 through 1.E.7 or obtain permission for the use of the work and the Project Gutenberg-tm trademark as set forth in paragraphs 1.E.8 or 1.E.9.
1.E.3. If an individual Project Gutenberg-tm electronic work is posted with the permission of the copyright holder, your use and distribution must comply with both paragraphs 1.E.1 through 1.E.7 and any additional terms imposed by the copyright holder. Additional terms will be linked to the Project Gutenberg-tm License for all works posted with the permission of the copyright holder found at the beginning of this work.
1.E.4. Do not unlink or detach or remove the full Project Gutenberg-tm License terms from this work, or any files containing a part of this work or any other work associated with Project Gutenberg-tm.
1.E.5. Do not copy, display, perform, distribute or redistribute this electronic work, or any part of this electronic work, without prominently displaying the sentence set forth in paragraph 1.E.1 with active links or immediate access to the full terms of the Project Gutenberg-tm License.
1.E.6. You may convert to and distribute this work in any binary, compressed, marked up, nonproprietary or proprietary form, including any word processing or hypertext form. However, if you provide access to or distribute copies of a Project Gutenberg-tm work in a format other than "Plain Vanilla ASCII" or other format used in the official version posted on the official Project Gutenberg-tm web site (www.gutenberg.org), you must, at no additional cost, fee or expense to the user, provide a copy, a means of exporting a copy, or a means of obtaining a copy upon request, of the work in its original "Plain Vanilla ASCII" or other form. Any alternate format must include the full Project Gutenberg-tm License as specified in paragraph 1.E.1.
1.E.7. Do not charge a fee for access to, viewing, displaying, performing, copying or distributing any Project Gutenberg-tm works unless you comply with paragraph 1.E.8 or 1.E.9.
1.E.8. You may charge a reasonable fee for copies of or providing access to or distributing Project Gutenberg-tm electronic works provided that
1.E.9. If you wish to charge a fee or distribute a Project Gutenberg-tm electronic work or group of works on different terms than are set forth in this agreement, you must obtain permission in writing from both the Project Gutenberg Literary Archive Foundation and The Project Gutenberg Trademark LLC, the owner of the Project Gutenberg-tm trademark. Contact the Foundation as set forth in Section 3 below.
1.F.
1.F.1. Project Gutenberg volunteers and employees expend considerable effort to identify, do copyright research on, transcribe and proofread works not protected by U.S. copyright law in creating the Project Gutenberg-tm collection. Despite these efforts, Project Gutenberg-tm electronic works, and the medium on which they may be stored, may contain "Defects," such as, but not limited to, incomplete, inaccurate or corrupt data, transcription errors, a copyright or other intellectual property infringement, a defective or damaged disk or other medium, a computer virus, or computer codes that damage or cannot be read by your equipment.
1.F.2. LIMITED WARRANTY, DISCLAIMER OF DAMAGES - Except for the "Right of Replacement or Refund" described in paragraph 1.F.3, the Project Gutenberg Literary Archive Foundation, the owner of the Project Gutenberg-tm trademark, and any other party distributing a Project Gutenberg-tm electronic work under this agreement, disclaim all liability to you for damages, costs and expenses, including legal fees. YOU AGREE THAT YOU HAVE NO REMEDIES FOR NEGLIGENCE, STRICT LIABILITY, BREACH OF WARRANTY OR BREACH OF CONTRACT EXCEPT THOSE PROVIDED IN PARAGRAPH 1.F.3. YOU AGREE THAT THE FOUNDATION, THE TRADEMARK OWNER, AND ANY DISTRIBUTOR UNDER THIS AGREEMENT WILL NOT BE LIABLE TO YOU FOR ACTUAL, DIRECT, INDIRECT, CONSEQUENTIAL, PUNITIVE OR INCIDENTAL DAMAGES EVEN IF YOU GIVE NOTICE OF THE POSSIBILITY OF SUCH DAMAGE.
1.F.3. LIMITED RIGHT OF REPLACEMENT OR REFUND - If you discover a defect in this electronic work within 90 days of receiving it, you can receive a refund of the money (if any) you paid for it by sending a written explanation to the person you received the work from. If you received the work on a physical medium, you must return the medium with your written explanation. The person or entity that provided you with the defective work may elect to provide a replacement copy in lieu of a refund. If you received the work electronically, the person or entity providing it to you may choose to give you a second opportunity to receive the work electronically in lieu of a refund. If the second copy is also defective, you may demand a refund in writing without further opportunities to fix the problem.
1.F.4. Except for the limited right of replacement or refund set forth in paragraph 1.F.3, this work is provided to you 'AS-IS', WITH NO OTHER WARRANTIES OF ANY KIND, EXPRESS OR IMPLIED, INCLUDING BUT NOT LIMITED TO WARRANTIES OF MERCHANTABILITY OR FITNESS FOR ANY PURPOSE.
1.F.5. Some states do not allow disclaimers of certain implied warranties or the exclusion or limitation of certain types of damages. If any disclaimer or limitation set forth in this agreement violates the law of the state applicable to this agreement, the agreement shall be interpreted to make the maximum disclaimer or limitation permitted by the applicable state law. The invalidity or unenforceability of any provision of this agreement shall not void the remaining provisions.
1.F.6. INDEMNITY - You agree to indemnify and hold the Foundation, the trademark owner, any agent or employee of the Foundation, anyone providing copies of Project Gutenberg-tm electronic works in accordance with this agreement, and any volunteers associated with the production, promotion and distribution of Project Gutenberg-tm electronic works, harmless from all liability, costs and expenses, including legal fees, that arise directly or indirectly from any of the following which you do or cause to occur: (a) distribution of this or any Project Gutenberg-tm work, (b) alteration, modification, or additions or deletions to any Project Gutenberg-tm work, and (c) any Defect you cause.
Project Gutenberg-tm is synonymous with the free distribution of electronic works in formats readable by the widest variety of computers including obsolete, old, middle-aged and new computers. It exists because of the efforts of hundreds of volunteers and donations from people in all walks of life.
Volunteers and financial support to provide volunteers with the assistance they need are critical to reaching Project Gutenberg-tm's goals and ensuring that the Project Gutenberg-tm collection will remain freely available for generations to come. In 2001, the Project Gutenberg Literary Archive Foundation was created to provide a secure and permanent future for Project Gutenberg-tm and future generations. To learn more about the Project Gutenberg Literary Archive Foundation and how your efforts and donations can help, see Sections 3 and 4 and the Foundation information page at www.gutenberg.org.
The Project Gutenberg Literary Archive Foundation is a non profit 501(c)(3) educational corporation organized under the laws of the state of Mississippi and granted tax exempt status by the Internal Revenue Service. The Foundation's EIN or federal tax identification number is 64-6221541. Contributions to the Project Gutenberg Literary Archive Foundation are tax deductible to the full extent permitted by U.S. federal laws and your state's laws.
The Foundation's principal office is in Fairbanks, Alaska, with the mailing address: PO Box 750175, Fairbanks, AK 99775, but its volunteers and employees are scattered throughout numerous locations. Its business office is located at 809 North 1500 West, Salt Lake City, UT 84116, (801) 596-1887. Email contact links and up to date contact information can be found at the Foundation's web site and official page at www.gutenberg.org/contact
For additional contact information:
Dr. Gregory B. Newby
Chief Executive and Director
gbnewby@pglaf.org
Project Gutenberg-tm depends upon and cannot survive without wide spread public support and donations to carry out its mission of increasing the number of public domain and licensed works that can be freely distributed in machine readable form accessible by the widest array of equipment including outdated equipment. Many small donations ($1 to $5,000) are particularly important to maintaining tax exempt status with the IRS.
The Foundation is committed to complying with the laws regulating charities and charitable donations in all 50 states of the United States. Compliance requirements are not uniform and it takes a considerable effort, much paperwork and many fees to meet and keep up with these requirements. We do not solicit donations in locations where we have not received written confirmation of compliance. To SEND DONATIONS or determine the status of compliance for any particular state visit www.gutenberg.org/donate.
While we cannot and do not solicit contributions from states where we have not met the solicitation requirements, we know of no prohibition against accepting unsolicited donations from donors in such states who approach us with offers to donate.
International donations are gratefully accepted, but we cannot make any statements concerning tax treatment of donations received from outside the United States. U.S. laws alone swamp our small staff.
Please check the Project Gutenberg Web pages for current donation methods and addresses. Donations are accepted in a number of other ways including checks, online payments and credit card donations. To donate, please visit: www.gutenberg.org/donate
Professor Michael S. Hart was the originator of the Project Gutenberg-tm concept of a library of electronic works that could be freely shared with anyone. For forty years, he produced and distributed Project Gutenberg-tm eBooks with only a loose network of volunteer support.
Project Gutenberg-tm eBooks are often created from several printed editions, all of which are confirmed as not protected by copyright in the U.S. unless a copyright notice is included. Thus, we do not necessarily keep eBooks in compliance with any particular paper edition.
Most people start at our Web site which has the main PG search facility: www.gutenberg.org
This Web site includes information about Project Gutenberg-tm, including how to make donations to the Project Gutenberg Literary Archive Foundation, how to help produce our new eBooks, and how to subscribe to our email newsletter to hear about new eBooks.