*** START OF THE PROJECT GUTENBERG EBOOK 46025 ***

VOL. XXI FEBRUARY 6, 1909 NO. 19
CHARITIES
AND THE COMMONS
THE PITTSBURGH SURVEY

II. THE PLACE AND ITS SOCIAL FORCES

A JOURNAL OF CONSTRUCTIVE PHILANTHROPY

PUBLISHED BY

THE CHARITY ORGANIZATION SOCIETY OF THE CITY OF NEW YORK

Robert W. deForest, President; Otto T. Bannard, Vice-President; J. P. Morgan, Treasurer; Edward T. Devine, General Secretary

105 EAST TWENTY-SECOND STREET, NEW YORK 174 ADAMS STREET, CHICAGO

THIS ISSUE TWENTY-FIVE CENTS TWO DOLLARS A YEAR

ENTERED AT THE POST OFFICE, NEW YORK, AS SECOND CLASS MATTER


[Contents Added by Transcriber]

THE COMMON WELFARE
PITTSBURGH SURVEY
PITTSBURGH
A CITY COMING TO ITSELF
EFFECT OF FORESTS ON ECONOMIC CONDITIONS IN THE PITTSBURGH DISTRICT
THE TRANSIT SITUATION IN PITTSBURGH
THE ALDERMEN AND THEIR COURTS
THE CHARITIES OF PITTSBURGH
PITTSBURGH'S HOUSING LAWS
PAINTER'S ROW
PAINTER'S ROW
THE MILL TOWN COURTS AND THEIR LODGERS
THIRTY-FIVE YEARS OF TYPHOID
PITTSBURGH'S FOREGONE ASSET, THE PUBLIC HEALTH

{ 1646 }
Telephones {           } Stuyvesant
{ 1647 }

Millard & Company
Stationers and Printers

12 East 16th Street
(Bet. Fifth Ave. & Union Square)
New York

ENGRAVING
LITHOGRAPHING
BLANK BOOK MAKING

CATALOG AND PAMPHLET WORK
AT REASONABLE PRICES

The....

Sheltering Arms


William R. Peters      President
92 William Street

Herman C. Von Post  Secretary
32 West 57th Street

Charles W. Maury      Treasurer
504 West 129th Street

OBJECTS OF THE ASSOCIATION

"The Sheltering Arms" was opened October 6th, 1864, and receives children between six and ten years of age, for whom no other institution provides.

Children placed at "The Sheltering Arms" are not surrendered to the Institution, but are held subject to the order of parents or guardians.

The children attend the neighboring public school. The older boys and girls are trained to household and other work.


Application for admission should be addressed to Miss Richmond, at "The Sheltering Arms," 129th Street, corner Amsterdam Avenue.

Wm. F. Fell Co.
PRINTERS
1220 Sansom Street
PHILADELPHIA


Book and Mercantile Printing

Specialists in Medical, Technical and Educational Work

Illustrated Catalogues, Reports and Booklets

Machine Composition, Electrotyping and Binding


Trade Marks

have been used from time immemorial by manufacturers, emblems by societies, seals by kings, artists and printers.

Their works are known to be excellent or poor. Their mark impresses the quality on the mind.

The Kalkhoff Company
251 William Street, New York
Printers of the Inserts Herein

Please mention Charities and The Commons when writing to advertisers.

Drawn by Joseph Stella.

AS MEN SEE AMERICA. II.

THE SECOND OF THREE FRONTISPIECES.

Charities

AND The Commons


[Pg 769]

THE COMMON WELFARE

THE BILL FOR A CHILDREN'S BUREAU

An unusually well managed and effective hearing before the House of Representatives committee on expenditures in the Interior Department was held in Washington on January 27, following the White House Conference on Dependent Children. No happier practical expression of the unanimous conclusions of the conference could have been conceived than this gathering of nearly all the conference leaders, representing every section of the country and all shades of opinion in dealing with childhood's problems.

Many persons listened to the unanimous plea that the federal government should heed the cry of the child and espouse its cause at least to the extent of providing a children's bureau manned by experts in such questions as the causes and treatment of orphanage, illegitimacy, juvenile delinquency, infant mortality, child labor, physical degeneracy, accidents, and diseases of children, to whom those engaged in dealing with these problems could direct inquiries for information based on adequate and authoritative research. The gathering of such information and its dissemination in bulletins easily understood by the common people, the making available for all parts of the country the results of the experience and suggestions of the most favored parts and of any foreign experience in dealing with problems similar to our own,—in short just such service as the government now renders so cheerfully to the farmer though the scientific work of the bureaus of its well equipped Department of Agriculture is all that the bill for the children's bureau asks. Upon the question of the propriety, constitutionality and expediency of the federal government doing this work there was not and cannot well be a single objection made. For the first year an appropriation of $51,820 is asked. As was carefully pointed out by several speakers, much of the work to be done is partially undertaken and could be done more adequately by existing governmental agencies such as the Census Bureau whose work would not be duplicated if we make it the sole business of some one bureau to bring together in one place and focus on the problems of childhood the information desired by child helping agencies and to find out what is needed to stimulate greater efficiency in work for children. No administrative powers or duties of inspection with respect to children's institutions or work are proposed or intended to be given to the federal children's bureau. Therefore only those whose deeds will[Pg 770] not stand the light of publicity need fear the operations of the bureau or expect anything but help and stimulus in the better performance of their service to the public.

All these points were made with singular unanimity and earnestness by many speakers who were heard by the committee and were seconded by the still larger number who recorded their names and the societies they represented as favoring the bureau. The judges of the leading juvenile courts were present in person, including Judge Lindsey of Denver, Judge Mack of Chicago, Judge DeLacy of Washington and Judge Feagin of Montgomery, Ala. Herbert Parsons, who introduced the bill in the House, and Secretary Lovejoy of the National Child Labor Committee, which stands sponsor for the bill, conducted the hearing jointly. Miss Lillian D. Wald, who originally suggested to the National Child Labor Committee the advisability of such a bureau, made the opening address, giving in substance the very clear and able argument for its creation which she had presented the previous evening at the banquet of the children's conference. She pointed out the universal demand for it in the following language:

And not only have the twenty-five thousand clergymen and their congregations shown their desire to participate in furthering this bill, but organizations of many diverse kinds have assumed a degree of sponsorship that indicates indisputably how universal has been its call to enlightened mind and heart. The national organizations of women's clubs, the consumers' leagues throughout the country, college and school alumnæ associations, societies for the promotion of special interests of children, the various state child labor committees, representing in their membership and executive committee education, labor, law, medicine and business, have officially given endorsement. The press, in literally every section of the country, has given the measure serious editorial discussion and approval. Not one dissenting voice has it been possible to discover.

THE NEED AND THE OPPORTUNITY

In speaking of the work which the bureau would do, we quote again from Miss Wald:

The children's bureau would not merely collect and classify information but it would be prepared to furnish to every community in the land information that was needed, diffuse knowledge that had come through expert study of facts valuable to the child and to the community. Many extraordinarily valuable methods have originated in America and have been seized by communities other than our own as valuable social discoveries. Other communities have had more or less haphazard legislation and there is abundant evidence of the desire to have judicial construction to harmonize and comprehend them. As matters now are within the United States, many communities are retarded or hampered by the lack of just such information and knowledge, which, if the bureau existed, could be readily available. Some communities within the United States have been placed in most advantageous positions as regards their children, because of the accident of the presence of public spirited individuals in their midst who have grasped the meaning of the nation's true relation to the children, and have been responsible for the creation of a public sentiment which makes high demands. But nowhere in the country does the government as such, provide information concerning vitally necessary measures for the children. Evils that are unknown or that are underestimated have the best chance for undisturbed existence and extension, and where light is most needed there is still darkness. Ours is, for instance, the only great nation which does not know how many children are born and how many die in each year within its borders; still less do we know how many die in infancy of preventable diseases; how many blind children might have seen the light, for one-fourth of the totally blind need not have been so had the science that has proved this been made known in even the remotest sections of the country.

At least fifteen states and the District of Columbia were represented at the hearing. Among the speakers were Edward T. Devine, editor of Charities and The Commons, who pointed out the scope and importance of the inquiries the bureau would undertake; Dr. Samuel McCune Lindsay, who drew the bill for the national committee and explained its fiscal features and the plan for the organization of the work of the bureau; Jane Addams, who showed the real service the bureau would render the practical worker; Florence Kelley, who pointed out the extent of our present ignorance on the questions with which the bureau would deal; Homer Folks, who emphasized the unanimous demand for the bureau by the widely representative Conference on Dependent Children; Congressman Bennett of New York, who[Pg 771] showed the service it would render in dealing with the peculiar problems of the children of immigrants; Bernard Flexner of Louisville, Hugh F. Fox of the State Charities Aid Association of New Jersey, Judge Mack, Judge Lindsey, and Judge Feagin, who all pointed out the service it would render the courts in dealing with children; Mrs. Ellen Spencer Mussey, who represented the General Federation of Women's Clubs; Thomas F. Walsh of Denver, Dr. L. B. Bernstein of New York, William H. Baldwin of Washington, D. C.; Secretary A. J. McKelway, and General Secretary Owen R. Lovejoy of the National Child Labor Committee. The House committee was deeply impressed and it is believed will report the bill favorably.

LOCAL PLAN FOR A CHILDREN'S BUREAU

Realizing that its 20,000 children between the ages of four and fourteen are its chief asset,—that children are, in fact, as important as its playgrounds or its streets or any of its other community problems,—the city of Hartford, Conn., has taken steps towards the appointment of a juvenile commission which shall relate the work of schools and playgrounds and manual training and homes and give them a balance and unity which come only from the consideration of such a question as a whole. Each of these agencies has an influence on the child for a part of its life, but each falls short of its possibilities for lack of such a comprehensive oversight and continuity of purpose as is promised by the commission.

The measure presented to the Legislature for the creation of a juvenile commission is based upon the following arguments:

1. Industrial cities are producing a class of children whose parents cannot, from the very nature of things, do much more than supply them with food, clothing and a home.

2. The environment of these children, is such, both in the home and in the neighborhood, that one-sixth die before they are a year old and one-fourth before they are seven.

3. The parents cannot as individuals provide playgrounds or adequate discipline.

4. Every child has a right to a reasonable opportunity for life, health and advantages needed for development.

5. To protect the child's right to a reasonable chance for healthy development is a special work which should be done by a commission created for the purpose to supplement the work of parent and school.

The suggestion for the commission came from George A. Parker, commissioner of parks, Hartford, and grew out of a meeting of the Consumers' League, followed by a talk by Dr. Hastings H. Hart. Mr. Parker's idea met with immediate endorsement from many sources and as a result the bill now before the Connecticut Legislature has influential and widespread support.

It is proposed that the Court of Common Council shall refer to the commission all questions relating to minors and await its report before taking final action. The commission is to have power to investigate all questions relating to the welfare of children, to collect and compile statistics and to recommend legislation. None of its actions is to be taken in a way to lessen the parents' responsibility and no child is to be taken from its parent except in extreme cases of danger to life or limb. The commission as proposed will consist in part of city officials and in part of citizens who do not hold public office, the members to serve three years each without salary, but the expenses to be borne by the city.

EDUCATION AND THE PREVENTION OF DISEASE

The past few years have witnessed an advance in the evolution of medicine which has been radical and comprehensive.

It was only a decade ago that the efforts of centuries devoted to empirical treatment of the individual found room for research into the causes of disease; and it has only been within recent years that such knowledge has been sufficiently comprehensive to justify its extensive application in the practical field of disease suppression.

The attempt which Columbia University is making to establish a School of Sanitary Science and Public Health is prompted by the realization of the fact that most diseases are preventable with[Pg 772] our present knowledge of their causes; that the knowledge which we now possess in regard to their causes is not properly and extensively enough applied for their prevention; and that this knowledge is best transmitted to the people by means of educational methods.

Probably the most recent advance in the doctrine of preventive medicine is due to the fact that many diseases are recognized to have not only medical, but social and moral causes as well; and that their prevention is best accomplished by the enlistment of judicious co-operation of effort in these various fields. For example, a large part of the disease of the human race is directly traceable to the damaging effects of alcohol and syphilis, yet these diseases cannot be eradicated until the underlying social and moral factors are recognized and remedied.

It is not difficult to appreciate the wonderful results which are capable of accomplishment, with our present scientific knowledge, by the conjoined application of scientific and social with educational methods, when we realize that smallpox could be wiped out by education of the masses on the efficacy of vaccination. The fields of preventable accidents, dangerous trades, child labor and improvement of working conditions offer opportunities for the reduction of suffering which are great almost beyond conception. Blindness could be diminished one-half by the spread of a simple, well known doctrine; typhoid, cholera, malaria and yellow fever depart as enlightenment on principles of sanitary administration creep in, and tuberculosis has resolved itself largely into a "social" disease.

The problem resolves itself distinctly and emphatically into one of education; and it is to instruct the teachers of the people in methods of health preservation,—be they officers of health, with the care of thousands, or mothers with the care of one, in their keeping,—that Columbia University is striving to put its school into operation.

Pending such a beginning, a series of university lectures on Sanitary Science and Public Health by the most eminent authorities of the country is being given to prepare the way for the next much desired move,—a permanent, fully-endowed institution of instruction in the principles of public health preservation and the prevention of disease. Courses of a similar nature have been organized at Cornell, Wisconsin and Illinois universities.

The subjects, to be discussed by experts, include water supply and sewage disposal, health and death rates in cities, public health problems of municipalities, state and nation, milk supply and infant mortality, school hygiene, street cleaning, tenement house sanitation, personal and industrial hygiene and diseases of animals transmissible to man. The course, which was started on February 1 with a lecture by Professor Sedgwick of the Massachusetts Institute of Technology on The Rise and Significance of the Public Health Movement, will be continued until April 28. The lectures will be open to the public up to the capacity of the hall.

CLEANING UP THE KANSAS PENITENTIARY

The newspapers of January 31 contained a dispatch describing an unusual special train that left Lansing, Kansas, bound for McAlester, Vinita and Atoka, Oklahoma. The 344 passengers, sixteen of them women, were handcuffed together in pairs and groups and as the train pulled out of the station, the dispatch states that "a great cheer arose from the convicts as they saw the last of the state penitentiary."

This special train was carrying away the "boarded out" convicts whom Oklahoma has been shipping to Kansas since the establishment of its territorial government. Criminals were aplenty in the old frontier days and the contract with Kansas was highly agreeable to the settlers who were glad to free Oklahoma of its "bad men." The territory paid the state forty cents a day for the maintenance of each convict kept in the Lansing penitentiary and adding to this the amount that the prisoners earned, Kansas received about forty-eight cents a day for[Pg 773] each Oklahoma prisoner. The cost of food was about ten cents a day each.

From time to time stories drifted across the border about the treatment of prisoners, but not until last year when the territory became a state and when Kate Barnard became its first commissioner of charities, was anything done toward cleaning things up in Kansas. In August the new commissioner went to Lansing as a private citizen of Guthrie, Oklahoma, and inspected the prison with other visitors. Then she presented her official card and after considerable protest was allowed to inspect the jail as commissioner of charities of Oklahoma and the newest state in the Union proceeded to show her forty-eight-year-old sister what was going on in the Kansas penitentiary.

Miss Barnard found 562 men and thirteen women prisoners from Oklahoma. She spent a day crawling through the coal mines where the "props and supports of the roof were bent low under the weight of the dirt ceiling." She found that every prisoner who is put to work in the mines must dig three cars of coal a day or be punished for idleness. Three cars of coal a day is a good day's work for a strong man. Miss Barnard found seventeen-year-old boys who were unable to do their "stunt," as they called it, chained to the walls of their dark cells. She found "one Oklahoma boy shackled up to the iron wall of the dungeon. The lad was pale-faced, slender, boyish, and frail in appearance. I said: 'What are you doing here? Why don't you mind the authorities?' He answered: 'I don't know much about digging coal. I work as hard as I can; but sometimes the coal is so hard, or there is a cave-in, and it takes time to build up the walls, and then I just can't get the three cars of coal. I got over two cars the day they threw me in here.'"

The coal that is taken from the prison mines is used to supply the Kansas institutions, it is said. About 1,500 tons are mined a day. As there are some dozen institutions to be supplied, this makes over 100 tons a day for each of the state institutions.

In the prison twine factories the contractors are allowed to say just how much shall constitute a day's work, and as all men are not equally skillful, the inferior prisoner is pushed to the limit by fear of punishment, while the more capable ones fare much better.

Miss Barnard found that the "water cure" is in regular use; that the "water hole," "where they throw us in and pump water on us" is in operation; that the "crib" where refractory prisoners are kept with hands and feet shackled and drawn together at the back, was doing active service. She found unprintable immoralities existing in some parts of the mines and she found that since August, 1905, sixty boys from Oklahoma have been imprisoned with the men in the Lansing prison.

Miss Barnard's report seemed incredible to Governor Haskell. He sent another investigator who came back to Guthrie with new stories of the Lansing prison to add to Miss Barnard's.

And then the governor appointed a commission to make a thorough investigation of the institution and ex-Governor Hoch named a Kansas commission to co-operate. The latter body made its investigation before the Oklahoma delegation arrived. It made eighteen recommendations changing the whole prison management, but declared Miss Barnard's report true "only in minor details." The Oklahoma commission found that her report was true to fact and that the Lansing prison was not fit for a murderer, much less for a sixteen-year-old boy.

There is no state penitentiary in Oklahoma and the prisoners must be kept in the county jails for the present. This is another strong argument for the passage of the bill now before the Oklahoma Legislature for the establishment of a reformatory. It may be possible to arrange with the Department of Justice to transfer the prisoners to the United States Penitentiary at Leavenworth.

KOWALIGA SCHOOL DESTROYED BY FIRE

On the afternoon of January 30, the Kowaliga School for Negroes, located in the high pine lands of Elmore county, Alabama, was destroyed by fire.[Pg 774] Only two buildings remain of that unique industrial settlement which has been successfully working among the Negroes of the surrounding community for thirteen years. The school was started by William E. Benson, a son of a former slave who had returned to the Alabama plantation after the war and become one of the South's most successful Negro farmers. Young Benson was graduated from Howard University and returning to his father's plantation saw the real need for a good school for the Negro children of the community. From Patron's Hall, built by the combined efforts of "the neighbors," Kowaliga School was started.

When the five buildings were burned there were 280 pupils and twelve teachers in attendance. The loss will be about $20,000 with practically no insurance owing to the extreme difficulty that Negroes always experience in the South in getting their property covered against loss.

The Kowaliga School is distinct in the service it is rendering to the community. Its aim is not to train skilled workmen or highly educated leaders, but rather to properly fit the Negro boys and girls of the community to live better in that community. The "book work" is carried as far as the eighth grade. The boys are taught agriculture and manual training and the girls are trained in the home life which they will probably take up on leaving school. As the school grew, Mr. Benson felt that it was not enough to train these boys and girls without giving them some opportunity to put their training to practical use. Consequently in 1900 the Dixie Industrial Company was founded "to improve the economic condition and social environment of the farm tenants of the South by establishing seasonal industries and furnishing them with steady employment the year round; to build better homes and help them to avoid the oppressions of the old system of mortgaging crops." The company now owns about 10,000 acres of farm and timber lands, operates a saw-mill, a turpentine still, cotton ginnery, cotton-seed and fertilizer mill, a store and forty farms, affording homes and employment for 300 people. It has a paid-up capital of $66,000, a surplus of $12,000, is earning eight per cent annually, and paying four per cent annual dividends.

The industrial company provides work the year round for the rural population and thus fills in the time of the seasonal workers who before were busy only about half the year.

The fire will not directly affect the Dixie Industrial Company. It will temporarily cripple the school and until funds are forthcoming that work must be discontinued. "It means beginning all over again after thirteen years' work," said Mr. Benson, who was in New York at the time of the fire; "but I am going back this week and make another start."

REVISING CHICAGO'S CIVIL SERVICE SYSTEM

A complete revision of the civil service system for Chicago is promised by Elton Lower, president of the City Civil Service Commission. After eight years' connection with the city departments the commissioner devoted himself for over a year mainly to studying the working of the civil service in Boston, New York, Washington and Chicago and to the examination of the promotional methods used by railway, manufacturing and other corporations. Securing requisite support from the city administration, he now announces a complete reversal of the form and revision of the rules under which the merit system has been operated in the city.

The distinctive features of the new plan are grading by duties, descriptive titles, defining the duties of the grades, uniformity of compensation within each grade, advancement from grade to grade only by competitive examination, and a greater degree of unity and independence in the departmental administration of efficiency tests and promotional procedure within its own bounds. Examinations in all departments and grades are to subordinate scholastic to practical tests, and to give greater importance to physical conditions and the investigation of character in order to meet the requirements of service, rather than require knowledge of facts. It is hoped to raise the standard of efficiency and promotion by taking[Pg 775] the tests in each department from its own system of keeping records and accounts. As the departments will be held individually responsible for the way they keep these, the inevitable comparison and contrasts between them will tend to level their standards up to the highest.

Salaries may be raised only for an entire rank and not for individuals within the rank. Provision for grouping employes within the grades is made on the basis of efficiency, seniority or time required by service. The passing mark will be the only test of physical fitness. A similar flat-grading is proposed for work requiring skill and experience. Testing the applicant's qualifications in these respects, as is done for New York and Boston by the trade schools, is preferred for Chicago. A free transfer permits employes to pass from one department to another for promotional examinations, the original entrance examination thus giving a city employe a slight advantage over outsiders in competing for grades. Identification tests include finger prints.

The civil service commission began to institute these features among the employes of its own office some time ago. It first secured proper quarters and modern sanitary facilities, and then began training employes for its own work for which experienced applicants were lacking. Mr. Lower maintains that if such a system is firmly established and built up it will be likely to withstand lax administration because "it will take as much study and thought to tear it down as to construct it." Whatever wrong things may be introduced into it, he thinks, "will make conditions no worse than they have been under the system that has hitherto prevailed."

The Chicago Public Library will profit as much by the re-classification of its force and by this scheme of promotion as any other city administration, since its work has suffered more for the lack of finer tests of efficiency within more specialized grades, and also from being under the same regulations as other departments with whose requirements its service has little or nothing in common. To have a civil, self-regulating service system virtually its own, will free its directors, the librarian and his staff for that initiative which will give to this fourth largest library in the United States the leadership which may be rightly demanded for it.

ANOTHER ATTEMPT FOR A NEW CHICAGO CHARTER

The Chicago Charter Convention reassembled last week at its own initiative to renew its attempt to prepare a city charter that the Legislature will adopt and the people will accept at the polls. Its first laborious effort was so ruthlessly made over by the contending party factions in the Legislature two years ago that the measure suited no one. Many members of the convention repudiated it and the people overwhelmingly rejected it at the polls. To conserve their hard and fundamental work, the convention ventured to reassemble last autumn and appointed a committee to revise its own bill in the light of its fate at the capitol and the polls. In so doing the amendments made by the Legislature have been carefully considered and most of them eliminated. The measure thus nearly restored to its original form has been changed to conform to suggestions prompted by the criticisms and discussions through which the bill and act passed. This revision is now to come before the convention which faces many interesting and strenuously contested issues. Among them are the limiting of the city's bonded indebtedness to four per cent, the assumption by the city of ten per cent more of the cost of public improvements, municipal suffrage for women, stringent provisions against corrupt practices, the retention of the party circle on the ballot, the local regulation of the liquor traffic and the Sunday closing of saloons, the centralizing of school management, and the consolidation of four park boards.

Preliminary to all these issues the question is to be decided whether the convention will supersede itself by proposing to the Legislature either to authorize the election of a new charter commission by the people, or to call a constitutional convention. These proposals are not likely to interfere with[Pg 776] the procedure of the present convention to complete its own charter bill. Notwithstanding the fierce factional fight that now absorbs the energies of the Legislature so that it has not yet attempted to attend to public business, one of the prominent members of the House of Representatives assured the convention that if it agreed upon a measure and rallied to its support the public sentiment of Chicago, it would be enacted and referred to the referendum vote of the people.

THE SCIENCE OF BETTER BIRTH

The scientific foundations for the slowly rising science of "eugenics" grow apace in the research laboratories of our universities. Some of their most authoritative representatives demonstrated this fact at the recent joint meeting of the Physicians' Club of Chicago and the Chicago Medical Society. In strictly scientific spirit and phrase, with interesting stereopticon illustrations of their biological experiments, four professors brought their facts to bear upon the doctors for their inferences as to the analogy between the heredity in animal and plant life, and the development of human kind. Two professors of zoology, Dr. Castle of Harvard and Dr. Tower of the University of Chicago gave respectively "an experimental study of heredity," and "experiments and observations on the modification and the control of inheritance." A beautiful parallel was presented by Dr. Gates, professor of botany at the University of Chicago, in studies of inheritance in the evening primrose. Dean Davenport of the College of Agriculture at the University of Illinois ventured the most direct application of the suggestions from scientific experimentations to the propagation of the human race. Drawing the lessons to be learned from the breeding of animals, he said that the question preliminary to any consideration of the subject is "whether the end of our breeding is to be the production of a few superior individuals, or the general elevation of the race. If it is the first, we must proceed as in the breeding of thoroughbred race horses; if it is the second, as in the production of good fat stock for the farm." Preferential mating, he thinks, produces in the long run, persons of exceptional talent. "Like mates with like, and people with exceptional ability in any line are naturally thrown together by their common tastes and thus uniting bring forth phenomenal individuals in all lines." The solution of the problem of the deterioration of the stock lies, he thinks, not so much in stricter marriage laws, as in the absolute prevention of reproduction among "the culls, human as well as animal." To colonize other classes of the unfit as strictly as we do the insane is the only way he sees of doing this. "Let a man be taken into court and his ancestor record investigated. If we find his parents were dominantly bad, it means that he is fifty per cent bad. If his grand parents were also bad, he is twenty-five per cent more bad. When he gets to ninety per cent bad, it is certain that he must be colonized. There is a strict mathematical law that runs through it all."

Whatever may be thought of such definite suggestions, it is too true as the secretary of the Physicians' Club affirms, that "man is at a distinct disadvantage when compared with domestic animals in being denied 'good' breeding. He is the child of chance and so to speak is born, not bred." Surely, however slowly, the science of improving the propagation of the human race will receive its recognition as having place among the hierarchy of the sciences and will be practically applied by those who respect themselves and have any regard for their posterity.

CONFERENCE ON DENTAL HYGIENE

The Conference on Oral and Dental Hygiene held in Boston recently brought out, perhaps more than anything else, the relation between, the physical condition of the teeth and the general health of the body, and the great necessity for lay intelligence in the matter. Prof. Irving Fisher of Yale, the opening speaker, dwelt on these points, and declared that civilized man tries to avoid mastication by the use of pulverized,[Pg 777] liquified and pappified foods; that civilization has brought about a pressure of time with the result that we eat by the quick lunch counter and the clock, whereas the animal eats his meal in peace; that we eat too fast, to the injury of our teeth, as shown by the fact that those who do masticate food thoroughly have better teeth; and that experience shows thorough mastication results in better health and greater efficiency. Prof. Timothy Leary of Tufts College said that proper mastication does away with an important source of supply of putrefactive bacteria, and eliminates conditions favoring gastric cancer.

Dr. Samuel A. Hopkins believes that the solution of many of the difficulties lies in seeking out the educators and in working through them and through the various settlements and the workers in public and charitable institutions. Of particular importance are all those who work with children. William H. Allen of New York lays to the ignorance and the indifference and the carelessness of the public a great many of the difficulties. He believes that

if hospitals ever refuse to give bed treatment for twelve weeks to a man suffering from jaw trouble when the dentist could give "ambulant" treatment while the man supports himself and his family; if physicians ever stop spending time, money, medicine and hospital space on tubercular patients who reinfect themselves whenever food, medicine or saliva pass over their diseased teeth and gums; if dentists are ever generally added to the attending, visiting and consulting staffs of hospitals; if education of dentists for profit ever gives way to education for health and training; if the dental profession is ever given the rank with other specialties and society given the corresponding protection, it will be because laymen intervene.

Dr. Horace Fletcher declared that it is definitely known that the flow of gastric juices is started in the stomach by psychic stimuli. If the food is taken without enjoyment the juices are not secreted and the food remains undigested. "Any dispute at the table, an angry word, a discussion over a bill, or a sharp retort, are sufficient to stop this digestive process," he said.

Dr. David D. Scannell of the Boston School Committee made the startling statement that fully seventy-five per cent of Boston school children have dental disease, which means that there are about 75,000 school children in Boston needing attention. Dr. Scannell bases his statement upon investigations made in Brookline, New York, and through the district nursing associations. Dr. Scannell said that the present dental work in schools is done with good intention but it is sporadic. Money should be set aside for examination and treatment of all school children, conducted through an out-patient dental department on the same basis as the eye and ear departments of free treatment.

Dr. Walter B. Cannon of the Harvard Medical School showed the dangers lurking in school drinking cups. His statements were supplemented in the exhibit provided by the Dental Hygiene Council of Massachusetts by pictures showing a filthy vagrant using a public drinking cup, immediately followed by a mother who gave her little girl a drink from the same cup.

The exhibit is the only one in existence in this country. It was taken in part from the tuberculosis exhibit, but has been greatly increased and supplemented by an exhibit from Strasbourg.

In the closing session, President Eliot of Harvard pointed out the relation between defective physical conditions and defective government. "The bad physical condition of our people is due largely to the unhealthy conditions under which the men do their ordinary work and the women pursue their domestic employments. To improve the public health we must have better regulations and laws. We cannot create and improve the public playgrounds which are open air parlors without honest and efficient city and town government," he said. Dr. Eliot thinks that the medical profession is the most altruistic of all occupations, with the possible exception of the ministry.

INSURANCE AND BUILDING LOANS

One of the defects of the building and loan societies, long recognized in some quarters, has been the probable loss of the[Pg 778] home to the family of the member who dies before payment has been completed. At the time when the widow most needs the home for her children, the payments cannot be met and the association is reluctantly obliged to foreclose the mortgage.

A plan to meet this situation, frequent in the aggregate, has been devised and practised in New England, by requiring the borrower to take out an insurance policy on the least expensive straight-life plan, to an amount equal to the mortgage. The insurance premium is payable monthly with the payment on the loan, the association turning it over to the insurance company, and undertaking to adjust the payments if the latter's premium periods do not coincide. The face of the policy is made payable to the loan association which, in case of death, takes from the insurance money the amount remaining unpaid on the mortgage, and gives the widow the balance with a deed for an unencumbered home. In the great majority of cases where the borrower lives to complete his payments, the policy is surrendered to him when his mortgage is cancelled, to be continued or dropped as he pleases.

The plan was described at the annual banquet of the Metropolitan League of Co-operative Savings and Loan Associations, New York, by J. Q. A. Brackett, former governor of Massachusetts, who is urging it on a national scale as a necessary adjunct to what, in his native state, is termed the co-operative bank.

More than two hundred men attended the banquet, representing ninety-five constituent companies with 35,129 depositors, and controlling assets of sixteen million dollars. One who attended could not fail to be impressed with the evident feeling of these men that their paramount duty is not to make money for their particular organizations, but to help the average member buy a home. Ninety per cent of them are unsalaried. One association, it was reported, has reduced its interest rate without request of its borrowers. In the words of the president, the main desire of building loan associations should be "the encouragement of the habit of saving without irritating penalties and restrictions and with equitable provision for the mishaps possible to those undertaking a contract for specific saving extending over a long period of years."

THE SIGHTLESS AND THEIR WORK

The wonderful gains made by the blind in overcoming their heavy handicap was brought strikingly to public attention at the second annual sale and exhibition of the New York Association for the Blind. Women were at work on small hand looms, on linen looms, and on carpet-weaving looms. A blind girl operated a power machine. Stenographers sat at their work, fingering ordinary typewriters, and transcribing notes from phonographic dictation. There were all the usual, simpler displays of chair caning, basket weaving and broom making and there was music, both vocal and instrumental. The guests were told interesting stories of many of the workers. One was of a man who applied to the association for help when first stricken blind and most despondent, thinking that all avenues of usefulness had been closed to him. As a result of the instruction given to him, he is now able to earn a good salary and to support his family.

The work of the association has so increased during the past year, that besides the building on Fifty-ninth street and the workshop on Forty-second street, the special committee for the prevention of blindness has an office in the Kennedy Building at 289 Fourth avenue. In co-operation with the State Department of Health the committee is working particularly toward the prevention of ophthalmia neonatorum. Following are the members of the committee: P. Tecumseh Sherman, chairman, Dr. Eugene H. Porter, Dr. Thomas Darlington, Dr. F. Park Lewis, Dr. J. Clifton Edgar, Thomas M. Mulry, Dr. John I. Middleton, Miss Louisa L. Schuyler, Mrs. William B. Rice, Mrs. Edward R. Hewitt, Miss Winifred Holt, Miss Lillian D. Wald and George A. Hubbell, executive secretary.

[Pg 779]

BERLIN'S SCHOOL OF PHILANTHROPY

Europe, and especially Germany, follow very closely every new experiment along social lines, undertaken by American cities or individuals. One imitation of American methods was the establishment of separate courts for children, though neither detention homes nor the splendidly equipped schools for delinquent boys and girls, which the most progressive states of the Union have, are found in Germany. The state governments in most cases do not take the initiative; private citizens study the question and urge the necessity for a change, until public opinion, thoroughly aroused comes out so strongly in favor of a new measure, that the authorities are forced to yield. In October, 1908, a social school for women opened its doors in Berlin with the help of different societies and in co-operation with private citizens, of whom Dr. Munsterberg is the best known to the readers of this magazine. A close study of the methods of the New York and Chicago Schools of Philanthropy had been made and some of their features successfully copied. The aim of the school is to give German women new chances for service whether they wish to devote some of their time as volunteers or desire to become paid officers of philanthropic agencies. Field practice will show how the same problems, which confront social workers, repeat themselves only in a smaller way in the families and individual. To the training in both theory and practice two years are devoted. The theoretical work in pedagogy, social questions, economics and domestic science, is supplemented in the first year by kindergarten and day nursery work, and in the second year by a special training gained through working at different social agencies, like the Bureau of Charity, juvenile court committees, relief and aid societies. All these agencies hope to get a staff of experienced helpers and workers through their co-operation with the school. The state's schools, through which the girls have to pass prior to their admission, have very little of the modern spirit. In contrast too with the great variety of courses in the state lyzeums, the courses are restricted in number and carefully selected. They are however most appropriate for women, since they present not only a picture of the development of modern society, but emphasize particularly woman's position.

The director, Dr. Alice Salomon, is one of the most able and conservative leaders of German women. There is a good attendance at the new school.

THE RUDOWITZ CASE

GRAHAM TAYLOR

The decision of Secretary Root to deny the demand of the Russian government for the extradition of Christian Rudowitz is a great relief to all true Americans, and thousands of their foreign born fellow citizens all over the land. The right of asylum for political refugees was at stake in the case of this Lutheran Protestant peasant. The extradition was demanded on the ground that he had been identified as one of a band of twelve or fifteen marauders who were guilty of three homicides, arson and robbery in the village of Beren, Courland, in January, 1906. The defendant denied the charges of personal participation in the alleged crimes and submitted proof that Courland was then in a state of temporarily successful insurrection, and that the killing was ordered by the revolutionary party then in control, as an execution of spies who had betrayed many of their own people into the hands of the military authorities by whom they were summarily shot.

The evidence upon which the whole case hinged was in the form of depositions taken in Russia and submitted by the government to the United States commissioner at Chicago. So well grounded were the suspicions with which it was regarded, that the whole record of the testimony was submitted to John H. Wigmore, dean of the Northwestern University Law School, one of the highest legal authorities in America, and author of one of the principal American text books on evidence. His careful analysis of the voluminous record[Pg 780] in the case led him to conclude that while Rudowitz was a member of the revolutionary committee and voted for the execution of the spies, the evidence identifying him as one of the party charged with the killing "is too slight to be of any value"; that "there is no evidence of marauding or neighborhood feuds or common depredation on the part of this or any other band in any part of the evidence for the prosecution"; that there is conclusive evidence of a temporarily successful revolution "giving the military forces of the national government under their system certain rights of summary execution, and correspondingly giving such rights to the revolutionists, so as to fix upon their acts of summary force, if duly authorized by their officers, as revolutionary acts of force." These facts justified Dean Wigmore in concluding that "the killing was a purely political act, the arson was also ordered politically, being a customary incident similar to the existing government's own punitive practice in such cases."

The suspicions based upon such facts in this and other cases, aroused the American spirit against the apparent attempt of the Russian government to secure the extradition of many political refugees on poorly substantiated charges of being common criminals. Hundreds of men and women faced the possibility of being forced to change their names and hide themselves. Great mass meetings were held in the principal cities to protest not only against the extradition of Rudowitz, but against the continuation of the present treaty with Russia under which it was asked. Conservative citizens, to the American manor born, such as President Cyrus Northrup of the University of Minnesota, W. H. Huestis of Minneapolis, Charles Cheney Hyde, professor of International Law at Northwestern University, Councillor W. J. Calhoun of Chicago, joined their protests with those of recently arrived refugees and such friends of theirs as Jane Addams, Jenkin Lloyd Jones and Dr. Emil G. Hirsch. But beneath the value set upon this popular agitation for the defense of the right of asylum in America, was the confidence that there was good law under the case for Rudowitz, which would surely determine the decision of so good a lawyer as the secretary of state.

Now that this confidence has been confirmed, the question is being validly raised by the press whether the qualifications exacted of those appointed to United States commissionerships are as high as was originally demanded for the delicate and difficult duties of that office. It is pointed out that when in 1793 Congress first authorized such appointments by the circuit courts, it defined the qualifications of those eligible as "discreet persons, learned in the law." Later acts, however, dropped the requirement that they should be "learned in the law" and continued the reference to "discreet persons." In substituting "United States commissioners" appointed by the district courts for the commissioners of the circuit courts in 1896, Congress provided only that no United States marshal, bailiff or janitor of a building, or certain other federal employes should hold the office. Some of the most eminent lawyers, who publicly joined in protesting against the extradition of Rudowitz, took occasion to criticise the appointment to this office of men not trained in the law, and inexperienced in the sifting of evidence, whose decisions, involving the liberty and life of men, must be based entirely upon the knowledge of the laws of evidence. Certainly this case should lead either to stricter definition of the qualifications for United States commissionerships or to far greater care in the appointments to that important office. Moreover, the injustice of putting upon a political refugee the burden of proof that he is such has been made manifest in this case. For to do so Rudowitz would have been compelled not only to bring his evidence from Russia, but also to expose to certain death those whom he would have been compelled to name as his compatriots in the struggle for liberty.

[Pg 781]

SAVINGS BANK LEGISLATION: WHAT IS NEEDED?

JAMES H. HAMILTON[1]
Headworker of the University Settlement

"Everything speaks for and nothing against the post office savings bank," writes Professor J. Conrad of the University of Halle. This is strong testimony from a German economist who is a careful student in the field of social economics, and who lives in a country which has a splendid system of municipal savings banks. But if one looks beyond Prussia and Saxony into the province of Posen he sees great stretches of neglected territory. And in this country if one looks beyond Massachusetts, with its much praised trustee savings system, into New York and Pennsylvania he sees much to be desired,—and if he looks still further west he finds a sadder neglect than the neglect of free popular education in darkest Russia.

[1] Author of Savings and Savings Institutions; Macmillan, 1902. Pp. 436. Price $2.25. This book can be obtained at publisher's price through the offices of Charities and The Commons.

If we fully comprehend the fact that the savings bank is an educational, and not a commercial institution we will see at once that the law of supply and demand cannot properly regulate its growth. We will see on the contrary that if left to local initiative by either municipalities or trustees, the banks will likely appear where they are least needed and fail to appear where they are most needed, and the need of a general federal system, or a postal system, which will leave no neglected spots becomes perfectly clear. "Everything speaks for the post office savings bank."

Postmaster General Meyer, in his article in the August number of the North American Review, presents this country's need of a postal savings system in a very attractive and convincing way. I think, however, that the educational aspects merit more emphasis and more extended treatment. The public, I think, needs to recognize this institution not alone as the often successful rival of the saloon, the enemy of dissipating and destructive spending, but it needs also to recognize its relationship to the strong type of citizen, with resisting power against the petty immediate wants in the interest of greater economic security, the type that can save against the rainy day, the week of sickness, and the declining powers of the later years of life.

In my own judgment the highest function of the savings bank is to lead the workman back to the ownership of his tools, or since that is not literally possible, to a share in the ownership of the productive forces of society. The workman may not recognize in the share of stock, the bond, the equity in a title to real estate, the successor to the tools his forefather kept stored in his cottage. When he has been brought to see it and to make such ownership the goal of his ambition, his tribute of devotion to his wife and children, he will be a stronger and a better man in every respect, and the multiplication of this kind of citizen is as worthy an object of education as the spread of a rudimentary knowledge of letters. Universal proprietorship is no less desirable, from the social point of view, than universal education. The purpose of the savings bank is therefore not so much to instill the idea of hoarding for future spending, but of investing to increase the permanent income.

Having this in mind the provision of the English postal savings system for investing in government stocks for the depositor on his request is fully warranted, and even more so the French provision for investment of the excess of deposits over the legal maximum in government stocks without request. The deposit account itself represents investment,—by trustees on behalf of the depositors. But the depositor should eventually become a conscious owner on his own account. It would seem most proper that he be supplied with information which would enable him to form an independent judgment as to different securities, and the savings bank might very well act for him in making his first investment.

The one departure from precedent in Mr. Meyer's bill is in the investment of funds. It contemplates a system of loans to the local banks with a view to "keeping the money at home." The departure from the practice of investing in government securities may be good for the object[Pg 782] intended, which relates to the incidents rather than the primary object of savings bank administration. It seems to me most unfortunate that Mr. Meyer should have selected a form of investment that would tend to defeat the primary object of savings banks in the necessarily low rate of interest. I think he must fail to fully realize that the savings bank is to educate the propertyless to become proprietors, to appreciate the need of supplementing the earnings of labor by income from accumulated capital, and not to serve as a mere place for hoarding. It is the interest rate that tickles this dormant sense into life. It seems to me a pity that he did not see in the example of the municipal savings banks in Germany and of our own trustee banks, which invest chiefly in real estate mortgages, a way of reaching the one object without injury to the other. This would be a departure from the general practice of postal savings systems which would at once "keep the money at home," and insure a higher rate of interest than the yield of government securities. Money thus invested would get back into the channels of trade as readily as if it were loaned to the local banks, and with much less objection, and the rate of interest would probably be about double. The yield should be four per cent against the two per cent proposed by the postmaster general's measure.

It is certainly most refreshing and encouraging to listen to the promise of legislation that extends its benefits immediately to the common people, which contains the hope of more social solidarity. A comparison of our policies with those of old world countries in this respect is not comforting to our patriotic pride. It seems time that we were less laggard and that we should have more courage to experiment. The promise made by all political parties of a postal savings bank is probably the most encouraging sign we have had. It would be much more encouraging if the measure that is promised contained more of the results of bold experiment in other countries and contained more of an original and experimental nature that promises a more pronounced application of the true principle of savings banks, and that fosters a clearer popular understanding of that principle. It is equally important that the principle be brought out in clear relief from the point of view of the administration and of the patrons. The administration needs clearly to understand that it is not conducting a banking business but giving education in thrift, and the youthful and other patrons need to understand that they are being led in the direction of economic independence.

SOCIAL EDUCATION[2]

Reviewed by HELEN F. GREENE

It is a long look forward and a wide one that Dr. Colin A. Scott takes in Social Education and one that social workers other than the teachers for whom the book was primarily written, will find themselves enriched by sharing.

[2] Social Education by Colin A. Scott, Boston, 1908. Pp. 300. Price $1.50. This book may be obtained at publisher's price through the offices of Charities and The Commons.

The school as a special organ of a constantly changing social order, must itself be easily capable of change. Instead of the uniformity on which the clan and early religions insisted must come the great variety of characters and capacities which the modern highly differentiated state demands.

How shall the school, called into existence by society for its own service and protection, most effectively educate the formers of the "New Society"?

Turning to real life for an answer we find that "society at its best organizes itself in groups in which each individual in the various groups to which he may belong finds himself in contact with others whose weakness he supplements or whose greater powers he depends upon." "If the school is to prepare for society as it is, it would be natural to expect that some such form of social activity, however embryonic, should be found as a necessary feature of its life." "The group must be capable of going to pieces, a thing it cannot do if it is to depend on the authoritative backing or constraint of the teacher. Indeed it is only when it can go to pieces that there is any reality in the effort to hold it together." "True responsibility and even obedience [Pg 783]of the highest type is felt only when the group is free."

The positive view of liberty and independence is urged, not the negative one which teachers,—and he might have added club leaders,—are too prone to take. "If children are to be trained socially, they must feel the full effects of social causes,—not merely of society at large, but especially those of the embryonic society of child life to which they belong. They must study these effects practically, and must see to what extent, as social beings, they are real causes themselves. It is on a basis of experience of this kind that they can best interpret the larger and more complex life of adult society and the state."

Declaring social serviceableness and the highest development of personality "to be the aims of the school, he urges that there shall be some test of its success in securing these." "This test can be found only in the extent to which pupils, when freed from the oversight and benevolent coercion of the teacher, can use the knowledge and carry out the habits and ideals which it is the aim of the school to foster and protect."

In the three succeeding chapters, three types of school in which the social spirit has been specially manifest are criticized according to this test. The schools are: (1) Abbotsholme, the "monarchy," under the principalship of Dr. Cecil Reddie; (2) The George Junior Republic; (3) The Dewey School.

In each he finds "elements of a high degree of social value, and an approximate solution of the problem of educative social organization."

But it is in the two following chapters on Organized Group Work, fragments of which appeared in the Social Education Quarterly of March, 1907, that Dr. Scott makes his own most valuable contribution to the problem. It is an attempt to show how it is possible, "even with crowded classes and without special equipment, to obtain in the people's schools, those co-operative and self-sustaining motives which are worthy of democracy and best able to measure the teachers' work."

The experiences which he describes he calls "experiments simply in the sense that all life is experimental, and they were devised with the view that the development of intention and resourcefulness on the part of the pupil is the greatest and most undeniable duty of any form of education."

The method was as follows: Each teacher said to her class: "If you had time given to you for something that you enjoy doing, and that you think worth while, what should you choose to do?

"When you have decided how you would spend the time, come and tell me about your plan. You may come all together, or in groups, or each by himself; but whatever you say you want to do, you must tell the length of time you will need to finish it, and how you expect to do it."

A most varied and interesting set of plans resulted. A printing group; cooking groups; groups for bookbinding; many for the writing and giving of plays, suggestive of the festival work of the Ethical Culture School, which has already been so helpful to club leaders.

The history of these groups, their human and humorous experiences:—of the child who was "bossy" and the way in which the group handled her,—are given in delightful detail and carry conviction with them as to the worth of the method.

To one judging socially and not pedagogically the closing chapter on The Education of the Conscience is disappointing. It seems to keep too much to the idea of personal morality as an end rather than as a means to the more vital and individually inspiring and healthful social morality; and to admit of the implication that the moral side of school life is a thing at least a little apart, rather than finding, when given a teacher with the right spirit, that, to quote Dr. Dewey, "every incident of school life is pregnant with ethical life."

[Pg 784]

PITTSBURGH SURVEY
INTRODUCTORY TO THIS ISSUE

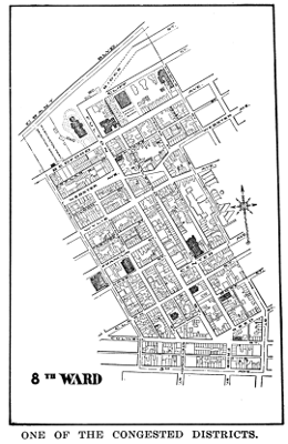
This second Pittsburgh issue deals with certain physical necessities of a wage earning population. It shows a city struggling for the things which primitive men have ready to hand,—clear air, clean water, pure foods, shelter and a foothold of earth. Thus we have in Pittsburgh a smoke campaign, a typhoid movement and the administrative problems of the Bureau of Health in milk and meat inspection; thus we have the necessity for sanitary regulation of dwellings wherever people live dense or deep, whether squatters' shanties such as those of Skunk Hollow or company houses such as those of Painter's Row, whether city tenements or mill-town lodgings; and the necessity further for increased numbers of low-cost dwellings. Similarly, flood prevention, traction development, bridge building and the like are so many efforts to expand, or conquer the difficulties of, the town's corrugated floor.

The first issue of this series, that of January 2, pointed out that with the moving into Pittsburgh of new and immigrant peoples, the spirit of the frontier and of the mining camp possessed the wage-earning population. This spirit has characterized civic development. Wherever there has been profit in public service, private enterprises have staked their claims to perform it. While the biggest men of the community have made steel, other men have built water companies, thrown bridges across the rivers, erected inclines and laid sectional car lines. To bring system and larger public utility out of these heterogeneous units, has become the present governmental problem of the city.

In a sense, this situation is repeated with respect to the institutions transplanted into Pittsburgh, or initiated there, to meet the cultural and social needs of the community. Thus we have local alderman's courts, unco-ordinated charitable enterprises, and a ward system of schools. The trend of the decade here, too, is obviously toward system,—toward a municipalization of lower courts, an expansion of the health service, an association of charities, a city system as against a vestry system of schools, a civic improvement commission that will focalize public sentiment in all movements for municipal improvement.


In the third and final issue of the series, that of March 2, the emphasis will be transferred from the civic to the industrial well-being of the wage-earning population,—the vital and irrepressible issues of hours, wages, factory inspection, accidents and the cost of living.

A supplementary group of studies,—of the libraries, schools, playgrounds and children's institutions of Pittsburgh,—will also be published in the issue of March 2.


PITTSBURGH
THE PLACE AND ITS SOCIAL FORCES.

FORT PITT IN 1759.

The first town plan of the Point of Pittsburgh.

The second of three special issues of Charities and The Commons, presenting the gist of the findings of the Pittsburgh Survey, as to conditions of life and labor among the wage-earning population of the Pennsylvania Steel District.

I. JANUARY 2-THE PEOPLE. II. FEBRUARY 6-THE PLACE. III. MARCH 2-THE WORK.

PITTSBURGH SOCIAL FORCES 1908

For profiles, lines A.-B.; C.-D.; and E.-F.—see pages 834 and 835.


A CITY COMING TO ITSELF

ROBERT A. WOODS HEAD OF SOUTH END HOUSE, BOSTON

[Pg 785]

The capacity for being seen with the eye in the large, which New York in her sky scrapers has purchased at so great a price, is the birthright of Pittsburgh. Where from so many different points one sees the involved panorama of the rivers, the various long ascents and steep bluffs, the visible signs everywhere of movement, of immense forces at work,—the pillars of smoke by day, and at night the pillars of fire against the background of hillsides strewn with jets of light,—one comes to have the convincing sense of a city which in its ensemble is quite as real a thing as are the separate forces which go to make it up.

The Allegheny River, providing a broad, open space up and down and across which much of this drama of modern world industry may be viewed, has at last come to mean not separation but identity of the population on either side of it. If the banks of the river were improved, it might easily be sentimentally as well as economically one of the most important common possessions of the old and the new sections of Greater Pittsburgh.

This tendency of cities to reach out and include their present suburbs, and even the territory where their future suburbs are to be,—a tendency which a few years ago was mocked at,—is in these days seen to be normal and wise. The proper planning of the city's layout, the proper adjustment of civic stress upon the different types of people in a great urban community, demand the inclusion of the suburbs. Greater Pittsburgh is less satisfactory than Greater New York and Greater Chicago, only because it is less inclusive than they. Some important suburbs of old Pittsburgh are not included, and the suburbs of Allegheny are nearly all outside. The latter omission is particularly unfortunate as it is doubtful whether Allegheny by itself will raise the average civic and moral standard of the greater city. It is regrettable too that Allegheny continues to show reluctance in making common cause with her larger neighbor. The toll bridges and the many obstacles against making them free, seem to typify the difficulty of intercommunication. The two towns, however, so clearly belong together that this feeling of clan cannot long survive. From nearly every commercial point of view that is worth considering Allegheny is dependent upon Pittsburgh. In the few exceptional instances, as in the case of two or three large stores, Pittsburgh recognizes a measure of dependence upon Allegheny. It is interesting that those of the old families connected with Pittsburgh industries who still insist on having town houses, reside on the Allegheny parks or commons.

A strong sense of corporate individuality comes to any community that is arrested by the challenge of great tasks. One of the influences leading to the creation of the greater city was the widening of the territory administered industrially from Pittsburgh. The best oil wells are now south rather than north of Pittsburgh, and the center of the coal regions is fast passing from the southeast to southwest and on into West Virginia. The necessity of easy transfer of iron ore from the Superior region is bringing up insistently the proposal of a canal to Lake Erie, so as to match some of Cleveland's special advantages. The nine-foot channel for the whole length of the Ohio will enable Pittsburgh's long arm to reach out and touch that of Cincinnati.

That the expansion of Pittsburgh was preceded and to some extent directed by a reform administration, has tended greatly to re-enforce the belief that Pittsburgh is moving organically toward the better day in her public affairs. This is the first successful movement for municipal reform in a generation. As I pointed out in my first article, it got its immediate stimulus out of the impudent interference of the state machine in[Pg 786] unseating a mayor who had been elected by an opposing local faction, and setting up a "recorder" in his place. Carried out under the forms of legislation, this act stung Pittsburgh people into a new feeling of municipal self-respect and led to their electing on a Democratic ticket George W. Guthrie, who had been for many years actively interested in the cause of municipal reform. Mr. Guthrie's family, like the Quincys of Boston, has been represented for three generations in the office of mayor.

Mayor Guthrie has made thorough application of the principles of civil service reform. He has introduced business methods in the awarding of all contracts, including the banking of the city's funds. In a city where only a few years ago perpetual franchises were given to a street railway covering every section, Mayor Guthrie has, so far as the situation allowed, put in force the strictest new conception of the public interest in relation to public service corporations. He compelled the Pennsylvania Railroad to cease moving its trains through the middle of what is potentially the best downtown street in the city. The street railway company was required for the first time to clean and repair the streets, to meet the cost of changes required by the work of city departments, and to pay bridge tolls. Loose and costly business methods in the city departments were radically checked, and accounts with long arrearages involving heavy interest losses to the city, were brought up to date. The cost of electric lighting to the city has been reduced from ninety-six to seventy-two dollars a lamp. Economies have been effected through having the city do some of its own asphalt paving and water-pipe laying.

Along with economical departmental service have gone the intelligent and effective efforts, which will be explained in other survey reports, for improving the water supply, abating the smoke nuisance, combating typhoid fever and tuberculosis by wholesale inroads upon almost unbelievable sanitary evils, and for restraining and punishing the exploiters of prostitution.

Not all American reform administrations can report a decline of two mills in the rate of taxation. Had Pittsburgh not been compelled to shoulder a special burden in including Allegheny's large municipal costs accompanied with low property valuation, Mayor Guthrie would have held the rate at this low point.

Under the new charter the mayor cannot succeed himself; so that the question whether Mayor Guthrie could be successful with the enlarged electorate is a theoretical one. Even if the machine should be successful, a standard has been set which the citizens will remember and return to.

Under the determined leadership of A. Leo Weihl, a Voters' League has employed such methods for keeping proper standards before the voters as have been successful in Chicago, Boston and other cities. Within a few weeks, after a year or more of clever and determined pursuit, seven members of councils and two bank officials have been arrested on a charge of bribery. The officers of the league state that this step is but the beginning. It is not claimed that this means anything more than the highly public-spirited activity of a few citizens, and it may be, as is currently reported, that such activity became possible in that certain great financial interests decided to change their policy as to dealing with city officials. However it became possible it meant exposure and disgrace to a system which was rooted in traditions in Pittsburgh. Just as this tradition was broken once in the election of Mayor Guthrie as a result of a bitter sting to the self-respect of the city; so now there is a cheering prospect that this poisoned goad will rouse and mobilize an instinct for carrying moral reforms to the limit which is very powerful in Pittsburgh when a situation forces the issue.

The present phase of political chicanery touches the banks, and the reaction against it will be re-enforced by the growing concern of the community in the face of bank defalcations amounting altogether to not less than five million dollars within the past four years, some if not all of which involved mysterious political complications.

[Pg 787]

GEORGE W. GUTHRIE.

Mayor of Pittsburgh.

Such an extreme outbreak of crime is related to the transition stage through which the city is passing. Along with the intoxicating accumulation and expenditure of wealth, the old type of dominating, watchful, industrial and financial leader has disappeared,—that which is typified by Mr. Carnegie, B. F. Jones,—whose firm continues the largest independent steel concern in Pittsburgh,—the Parks, the Moorheads, the Olivers, the Laughlins. The large industrial interests are in the main turned into bureaucracies whose plans in detail are decided in New York, and whose officials must guide their public actions so as to serve the corporations' interests. The merchants and professional men of the city who have always deferred to the manufacturers,[Pg 788] have only recently begun to assert themselves. It is perhaps natural that civic co-operation should make a more effective appeal to the merchants than the manufacturers, the merchants' constituency and scene of action being very largely local. Mayor Guthrie's election was a result of this new organized element in the life of the city. His work has in the nature of the case been largely the lopping off of old evils and the piecing together of a system of administration which shall embody standards of honesty and business efficiency.

Will the people of Pittsburgh be ready for the further stage of sound reconstruction, for the unified, organic development of the city as a thing in itself; for the application to the common welfare of those coherent, adventurous principles which have made possible the magnificent prosperity of the few? The proper answer to this inquiry must regard the time perspective. A strong momentum of public spirit and social service from out of the past, Pittsburgh, in becoming a great population center, did not possess. But in the last ten years the progress of this community, to one who can test it in varied and intimate ways, has proved in such matters highly significant and promising.

There are significant results, for instance, of the collective action of business men for the enhancement of the general interests of the city. Such effort leads first indirectly and then directly to the improvement of the city as a place in which to live.

Two considerable changes in the layout of the downtown part of the city have been brought about by special branches of trade. The wholesale grocers and the wholesale provision men have been for generations located on Liberty and Penn avenues west of the Union Station. Recently the latter have taken possession of a territory beginning a few blocks farther east and reaching for a quarter of a mile along Penn avenue, and through to the Allegheny River. A large number of the meanest tenement houses have been swept away by this process, and facilities provided for receiving and distributing fruits and vegetables, a distinct gain toward a hygienic urban commissariat. The wholesale grocers have cleaned up an equally large and equally unsanitary tenement area on the South Side, and have built vast subdivided warehouses under a single general management. Perhaps the most important aspect of these great co-operative improvement plans is the suggestion they give of the capacity of Pittsburgh citizens for making other broad modifications in the structure of the city, such as the improvement of its river fronts, the proper planning of its thoroughfares and public centers, and above all the sanitary and adequate housing of its industrial population.

It is indeed by its bold pioneering in such directions as these that the Pittsburgh Chamber of Commerce, chiefly under the leadership of H. D. W. English, has come to have an ever-growing authority in Pittsburgh, and a rather unique reputation and influence in other parts of the country. Greater Pittsburgh, as it is, with the provision for further expansion from time to time, is largely the result of the chamber's persistent effort. The improvement of the Ohio River which is to be undertaken at once by the national government, and the organization of a company to build the canal to Lake Erie, are also results of its initiative. The reduction of the smoke nuisance, the provision of a proper system of sewage disposal, the study of plans for protection against floods, and, most noteworthy of all, the inclusion of the hygienic housing of the people in the list of the city's chief economic problems, are among the statesmanlike undertakings which the chamber has been effectively promoting. The Chamber of Commerce is reinforced by local boards of trade covering the chief outlying sections of the city and including in their membership not only representatives of business carried on locally, but downtown business men who reside in the district. The boards of trade have been infected by the broad spirit of the Chamber of Commerce, and are in essence district improvement societies whose activities are focussed and forwarded by their business-like motive and methods.

It can hardly be that any city has ever had so great re-enforcement of its finer[Pg 789] life from the beneficence of a private citizen as has Pittsburgh. Under the general title of Carnegie Institute are included a public library, a museum, an art gallery, and a music hall. These, under one roof, cover an area of five acres. At a little distance are the Carnegie Technical Schools with grounds covering thirty-six acres. The total sum which Mr. Carnegie has given these different objects is upwards of $11,000,000.

H. D. W. ENGLISH.

Chairman, Civic Improvement Commission, Pittsburgh.

The library contains 300,000 volumes. The annual circulation is nearly three times this number. The service rendered by the library is greatly increased by aggressive and ingenious missionary[Pg 790] work. There are six well-equipped branch libraries with 170 distributing stations throughout the city. Half of these are in the shape of little reading clubs and home libraries for children, conducted by the library management itself. This branch of the library's work has grown so much as to justify the establishment of a school for children's librarians. The fact that the library exists to discover and elicit new demands is made clear in the establishment of a "telephone reference," through which any person may have a subject looked up for him and a report quickly made. There are indeed more than sentimental reasons for the cherished feeling in Pittsburgh that this is the bright particular exemplar of all the Carnegie libraries.

LEE S. SMITH.

President, Pittsburgh Chamber of Commerce, Member Civic Improvement Commission.

The art gallery, some parts of which are of exceeding beauty, includes permanent exhibits of painting, sculpture and architecture. Its chief service to art thus far has consisted in a regular annual international exhibition of paintings. A very suggestive plan is followed for interesting school children in the galleries and in pictures generally. A set of photographs of the entire permanent collection is placed in one school after another for periods of two weeks each. It is expected that a continuous circuit will be kept up in this way requiring two years on each round.

The museum stands among the four chief institutions of its kind in this country. It is under expert and enterprising management. A considerable part of its collections have been gathered by its own expeditions. Like the art gallery, it appeals directly to the public schools by sending out circulating collections, conducting prize essay contests, and by carrying on a young naturalists' club.

O. H. ALLERTON, JR.

President, Pittsburgh Board of Trade, Member Civic Improvement Commission.

The music hall represents among this noble group of cultural agencies the one which simply continues the results of a significant phase of the city's inherent growth; for since 1879 Pittsburgh has had some sort of worthy musical festival every year. The weekly free organ recitals are a commendable transfer to America of a well recognized form of municipal service in English cities. It is unfortunate for this purpose that the hall should not be more accessible to[Pg 791] great numbers of people. The symphony concerts of the Pittsburgh Orchestra, whose seasons have continued during the past twelve years, are given partly in this hall and partly (in certain years) in the Exposition Building near the Point.

T. E. BILLQUIST.

Architect, Member Civic Improvement Commission.

The Carnegie Technical Schools represent the farthest steps yet taken in this country in providing vocational training for those entering non-professional callings. Considering that the greatest weakness of the whole American scheme of education is precisely at this point, the progress of the Carnegie Schools is being watched with keen attention, on both the educational and the economic side, from all parts of the country. Thus far schools of applied design and of applied science, a special vocational school for women, and a school for apprentices and journeymen, have made a strikingly successful beginning. All the schools are open day and evening. The present enrollment includes 2,000 students representing every state in the Union and many foreign countries. It can be said of the administration of the schools that it is worthy of its opportunity. The staff of instructors shows a rare spirit of fresh initiative, of quick and varied flexibility of mind, and of thoroughgoing achievement.

JOHN W. BEATTY.

Director of Fine Arts, Carnegie Institute, Member Civic Improvement Commission.

The University of Pittsburgh, is new in name but has in reality existed for more than a century. The institution has, however, not found Pittsburgh conditions conducive to academical development. Its engineering department has, somewhat to the regret of the university authorities, been by far its most important feature. A strong effort is now being made to build it up into a university worthy of a great city. A new site has been purchased and an exceptionally interesting plan for the various buildings has been accepted. When completed these structures will describe a circle up and down a hillside looking out over Schenley Park, with an administration building modelled after the Parthenon as a crowning effect.

The presence of all these educational institutions at the entrance of Schenley[Pg 792] Park, with its 420 acres, situated within twenty minutes' ride by electric cars from the heart of the city and on the way to the chief residential sections of Greater Pittsburgh, creates a civic center with a condensed attractiveness and resourcefulness that is already definitely re-enforcing the public imagination.

All this cluster of enlightened agencies, however, to the discerning eye points by contrast to the ultimate, close analysis of economic as well as moral conditions among the people in all the less-favored sections of the city and in all the satellite industrial towns. The conception of a direct community of interest between employer and workman, particularly if the workman is a leader in his craft, begins to be visible as in a few streaks of dawn. But the mass of the unintelligible Hungarians and Slavs must be reached by the more generous and democratic sense of responsibility on the part of employers and the more prosperous classes generally. The work of the next decade is to bring them on a really large scale into the circle of American citizenship and up to the essential standards of American home life.

The touchstone of progress and success in this great enterprise lies first of all with the public schools. The public school system of Pittsburgh is in very many respects behind accepted standards. Its chief defects come out of the faulty system of administration. Every ward has its local school board with the power of levying taxes, erecting buildings, and appointing teachers. This means that in some wards there is a good quality of instruction and properly developed curriculum, while other wards fall far short. It happens from this condition of things that in the working-class wards there is little or no provision for manual training; and in general the points of greatest need are the most poorly supplied. Objectionable political methods on the part of the local boards are pretty clearly in evidence; and such tendencies are by no means absent from the central board. Signs of progress are, however, becoming apparent here and there throughout the school system. The Carnegie Technical Schools are having a powerful influence in this direction. In the South Side, under direct encouragement from this source, and with the co-operation of local manufacturers, an evening trade school has been opened. There have been experiments in the direction of medical inspection and school nursing. There is an active agitation among the teachers for a parental school. In general the whole problem of public school administration has been thrown open for debate by the appointment of a capable state commission to report upon the subject. It is thought that for one thing it will recommend the practical abolition of the power of the local boards, so that they become simply visiting committees.

The high school in Pittsburgh is and always has been an important educational influence. In popular sentiment, it occupies a place somewhat analogous to that of the College of the City of New York. In order to make its service as general as possible the present director sends to the parents of all children graduating from the grammar school an interesting printed statement of the concrete objects and value of the high school. The pressure of the demands of industry as against the attraction of general studies is of course keenly felt. An evening high school with a definitely vocational trend has recently made an encouraging beginning.

The Pennsylvania method of combining public subsidy with private initiative is followed in connection with the kindergartens. A private association has supervision of all the kindergartens in the public schools as well as of some carried on in private institutions. There are altogether eighty-one kindergartens in this system. It is felt that, at least in the early stages, this method of control brings better standards of teaching and assures such collateral work as visiting in the children's homes and conducting mothers' meetings. It is needless to say, however, that in the long run such a division of responsibility will be injurious in point of effective service and of a proper sense of responsibility in the public administrative officers.

This sort of apprehension is all that qualifies in the least one's impression of[Pg 793] the admirable work of the Pittsburgh Playground Association. Its activity began twelve years ago, and now,—with an off-shoot in Allegheny,—includes the administration of six well-equipped recreation parks, twenty-four vacation schools held in school buildings, and a number of small playgrounds. The center of the system is the site of an old arsenal, thirty acres in extent, in the midst of a great working class district. At every point in all this work, discriminating effort is made to achieve positive educational results as well as to bring healthful enjoyment to the largest possible number of persons. In this respect, as well as in the definite prospect of appropriations sufficient to provide every now neglected section of the city with an ample playground, Pittsburgh stands at the forefront in this most vital phase of educational and civic advance.

JOSEPH BUFFINGTON.

Judge United States Circuit Court and one of the first citizens of Pittsburgh.

Like Chicago and other typical American cities where men are deeply absorbed in business, women have contributed a particularly important share to public betterment work. The Civic Club of Allegheny County, in which women have for the most part been the active spirits, and various women's organizations, particularly the Twentieth Century Club and the Council of Jewish Women, have accomplished many telling results in this direction. The Civic Club has the direct management of two people's bath houses; but its main service consists not in work of administration but rather in initiating enterprises to meet new problems as they arise, and then setting them loose to develop permanent organizations on their own account. In this way the club started the playground association, a municipal hospital for contagious diseases, manual training in the public schools, a legal aid society, an open-air tuberculosis camp, and a child labor association, beside having an active share in the creation of the juvenile court and the securing of progressive tenement-house legislation.

WILLIAM M. KENNEDY.

President, Civic Club of Allegheny County.

In the field of charity and philanthropy Pittsburgh shows a very substantial degree of activity and earnest motive. Very much is needed, however, both in the way[Pg 794] of more enlightened specific and local execution and of broader co-operation for economy and completeness in each type of social service. The staff of the Pittsburgh Survey has had the privilege of submitting to many institutions and agencies the accredited results of recent experience in other cities and countries. Such suggestions have been cordially received and in some instances at once acted upon. The Pittsburgh Associated Charities, which has been organized within the year, has secured the support of nearly every phase of charitable endeavor in the city. It represents the immediate advantage which Pittsburgh, under the spur of organizations like the Civic Club, has taken of the Survey's presentation of the practical conclusions of scientific charity. The Associated Charities is so new that nothing can be said about results in the ordinary sense; but in contrast to the confusion which existed until a year ago, its clear cogent platform covering both remedies and reforms, its straight appeal to the practical men, its strong representative board, and its fit and well convinced executive officer, are achievements of the first order.

D. P. BLACK.

President Real Estate Trust Company, Member Civic Improvement Commission.

HENRY L. KREUSLER.

(Building Construction), Member Civic Improvement Commission.

The development of the great filtration project has naturally stimulated other movements for the improvement of the public health. In this direction the municipal health department is a broadly and consistently helpful influence. The fight against tuberculosis is carried on effectively by both public and private agencies. The special commission of experts appointed by the mayor and aided financially by the Sage Foundation for tracing causes of typhoid fever aside from the water supply, will render a most important service to Pittsburgh as well as to the whole country. The successful record of the filtration plant in greatly reducing the amount of typhoid in the city, gives added point to this scientific effort to rid out the last lurking places of infection. In general, however, it must be said that the self-forgetful abandon with which many medical men in other American cities are bringing their priceless knowledge to bear upon public unsanitary conditions and unhygienic ways of life,—a type of effort which both in motive and result may almost be taken as the test of a city's progressive civilization,—has hardly as yet reached Pittsburgh.[Pg 795] The exceptions,—notable ones,—are of the sort that prove the rule.

CHARLES F. WELLER.

Secretary of the new Associated Charities, Pittsburgh; member Pittsburgh Civic Improvement Commission; former secretary Washington Associated Charities and President's Homes Commission.

The co-ordination of charitable effort, both in its different kinds and in its different localities, is a step which needs now to be followed by the federation of agencies for social upbuilding. The playgrounds which are fast becoming the headquarters of a kind of neighborhood guild, will furnish a substantial part of the material for this comprehensive social formation. In such enterprise, organized local citizenship, especially as seen in the boards of trade, will undoubtedly afford valuable re-enforcement to the distinctively philanthropic motive. The settlement houses of which there are several, might naturally take the lead. Such a federation would ensure to each local agency information about the results of experience at every other; it would bring the momentum of concrete local knowledge to bear upon the public school system and other parts of the public administration; it would draw into the work of constructive local betterment many resourceful new individuals and new agencies, thus spreading throughout the city the new point of view in citizenship; it would bring forward from the congested sections of the city those rear detachments of citizenship without which municipal reform must continue to be shallow and casual. In the development and extension of local social organization lies much of the promise of widespread growth of public spirit in Pittsburgh. The people have a distinct capacity for the invaluable village type of loyalty. This can in due time with expanding experience be made into the most enduring type of city loyalty,—that based on neighborly co-operation gradually extended and writ large but carrying with it always that sense of reality, that nearness to the soil, in which it began.

FRANCIS J. TORRANCE.

President Pennsylvania Board of Public Charities.

Kingsley House was founded in 1894 by Rev. George Hodges, now dean of the Episcopal Theological School, Cambridge, Mass., but for twelve years a strong influence for realistic Christianity in Pittsburgh. It has grown to be an important center for progressive social[Pg 796] service, and from its commanding position on a hill looking over the business section of the city it exercises an influence for social morality far beyond its immediate constituency. Its regularly organized work is gathered up into two large composite clubs, one having a membership of 600 boys and young men, the other about as many girls and young women. An average of half the total membership appears at the house daily for gymnastic training, games, industrial classes, discussions, music, etc. The tenement problem and the whole hygienic aspect of life among working people receive penetrating and persistent attention, and the importance of the service of the house in this direction is recognized throughout the city. Closely involved with such a campaign is the large country holiday work of this settlement, whereby some 4,000 persons are each summer provided for at a specially built and finely equipped vacation house.

REV. GEORGE HODGES.

Dean of the Episcopal Theological School, Cambridge, Mass.; founder of Kingsley House, Pittsburgh.

The Columbian School and Settlement which is farther up in the "Hill District," is supported by public-spirited Jewish citizens. The usual variety of clubs and classes is provided, and their opportunities are received with even more than the usual eagerness by the children of recent Russian immigrants. Much attention is given to education in hygiene by means of a gymnasium, baths, and instructive district nursing, as well as through securing the enforcement of sanitary laws. This settlement has given special attention to the very useful function of serving as pacemaker to the public schools, in the matter of evening industrial schools, recreative centers and vacation schools.

WILLIAM H. MATTHEWS.

Head worker, Kingsley House, Pittsburgh; a forceful leader in the housing campaign, Member Civic Improvement Commission.

The Soho Baths Settlement adjoins a new bath house just erected by the Civic Club, and designs to supplement its service through personal influence in the homes of the neighborhood. The Woods Run House in Allegheny has taken a new start since separating its relief work from its work of neighborhood organization. Covode House, also in Allegheny, is substantially the "industrial betterment" phase of the Heinz pickle factory.

The churches of Pittsburgh, which,[Pg 797] now with a few exceptions seem to regard as a secular intrusion the introduction of broad civic interests into their counsels, and thereby often appear shamefully indifferent in matters of public morality, could be led to take part in a campaign for a better home and neighborhood life, and would soon learn practically the close bearing of all human facts upon character and spirit. Those ministers who preside over the costly and surprisingly numerous stone edifices throughout the East End, would thus be able to meet their most serious problem, that of bringing up young people with some practical sense of their responsibilities to the less favored. The downtown ministers, who are deep in gloom as to the future of their own parishes if not of the church in general, would begin to see how to touch and to serve the indifferent newcomers, and would make an effective claim on the suburban churches for assistance.

The churches of Pittsburgh constitute an exceptionally important possibility in the direction of social reconstruction. Our canvass of the Protestant churches showed that a large proportion of them at least recognize the need of new forms of helpfulness and are making some effort to meet it. A large number of pastors are already organizing their congregations for a somewhat broader social service. The Catholic churches are under the care of a noble-minded bishop who is doing his utmost to make the existing system of the church provide for its vast inarticulate constituency. Many of the immigrant priests are sincere and sagacious men. The more progressive Jewish congregations do their full share in sustaining and advancing the public moral standards of the city and in promoting sound philanthropy.

Yet among all the costly ecclesiastical structures,—the city is said to have $17,000,000 invested in church buildings,—there are only three or four which have any adequate equipment for the promotion of human service or friendly association. The responsibility of the rich congregations for re-enforcing the poorer ones in their struggle against adverse conditions is scarcely recognized.

The problem is as in other cities. In the most crowded sections, the normal constituency of the Protestant churches has been swept away by the immigrant tide. In somewhat better conditioned neighborhoods, families have moved away and the homeless, neighborless lodger has taken their place. That is, the fundamental conditions which have created and directed the churches have disappeared; and only a broadly organized, well financed campaign can provide the fresh force, equipment, intelligence, which are indispensable to the revolutionized situation.

ADDIE S. WEIHL.

Head worker, Columbian Settlement, Pittsburgh.

The suburban churches side-step the present crisis. They are sincere but other-worldly. One minister who is genuinely interested in foreign missions feels it much on his conscience to make his people care less about the Orient and more about the East End. A few preachers deal with a present-day, near-home kingdom of God. Some presented the results of the Survey to their people; more entered into solemn account of stock[Pg 798] at the time of the bribery arrests. The following of the churches is large, devout, loyal; but, on the whole, the church is a hospitable garrison to defend the faith, not a conquering army of righteousness.

JULIAN KENNEDY.

Consulting engineer, Member Civic Improvement Commission.

Religion as being one-half the ingenuity and adventure of diversified personal service in every kind of neighborly and civic fellowship; the truth which Dr. Parkhurst long ago voiced, that the congregation is not the minister's field but his force,—this is what has produced Pittsburgh's small but heroic group of present civic leaders. A widespread contagion of it is what Pittsburgh needs more than anything else. In this the city must find its chief resource for bringing about and continuing a better order. The response of the churches to the sickening series of breaches of trust, to bribe giving and bribe-taking, to the overwork that means debauchery, to the mill-owners' Sabbath-breaking that breaks the mill-worker's body and soul,—must be a bold relaxing from tradition and letting their dynamic go free. The outcome would be a new synthesis which would overcome the weakness and shame of sectarianism, and give a broad, strong front to the city's renascent moral life.

JOSEPH W. MARSH.

Vice-president and general manager, Standard Underground Cable Company, Member Civic Improvement Commission.

Along with the detailed, patient, comprehensive work that is needed to build up a moralized democracy, the industrial and commercial leaders of the community, including those who are the responsible representatives of absentee capitalists and landlords, must rise to a far more generous, not to say discerning, conception of their opportunity. Big men of a generation ago said, "After us the deluge,"—they cut the forests off the Alleghenies, and Pittsburgh literally suffers the curse in destructive floods once or twice every year. The way of life in the local communities about many of the great steel plants is infallibly preparing for the near future a worse form of deluge in a mass of unfit, under-vitalized, unproductive citizenship. It is but fair to say that the really big men of to-day in[Pg 799] Pittsburgh are passing beyond the attitude of indifference to the human problem that confronts the captain of the industrial army. Indeed, the past few years have brought about a distinctly receptive point of view. The lesson to be learned and aggressively applied during the coming decade is that a great city's industrial supremacy, no less than its moral well-being, depends largely upon the proper provisioning and sheltering of the industrial rank and file, along with training in capacity for citizenship and for associated self-help.

H. J. HEINZ.

President H. J. Heinz Company, Member Civic Improvement Commission.

There have been stirring instances in the development of city life in this and other countries where a city deeply engaged in laying its material foundations, and suddenly finding itself not up to its own standard in other vital respects, has, by throwing a due share of its accumulated energy and resource into the new channels, been able to overleap intermediate stages which had been toilsomely worked out elsewhere. Such a magical achievement for the refinements of life has been made once in Pittsburgh through the surpassing initiative of a single citizen. It now needs to be repeated and outdone by the main action of the body of responsible citizens, carrying with them representatives of every grade and type of the people, in the united, elated march of a great civic and human welfare movement. Strange as it may sound, this is the sort of social phenomenon that American city life is next going to present; and it may be that Pittsburgh will lead the way.

J. W. KINNEAR.

Attorney-at-Law, Member Pittsburgh Civic Improvement Commission.

There are elemental changes coming in the life of Pittsburgh. The new immigrants will within a short generation be rising into social and political power, and their standards will in large part fix the moral and even the economic prospects of the city. The special resources of western Pennsylvania in raw material will necessarily grow less, and its need of a more developed labor force become insistent. In any case immigration cannot indefinitely recruit the labor ranks; Pittsburgh must learn to pay as it goes in[Pg 800] terms of men as of money. The ninety per cent pure iron which Mr. Carnegie found in the waste of his competitor and secured by a long contract, is the analogue of what Pittsburgh must begin to discover in the native capacity of the children of its crude toilers. The protective tariff which for the past two decades has been like an evil divinity to intensify the haste to be rich, and to confuse and baffle all local public issues, is on an uncertain footing as never before. Already there are new American steel centers which will dispute for the market supremacy. Every one of these things will compel a moral reckoning, will constrain the city to the saving and enhancing of individual and collective human power.

The historic sense newly awakened by the recent sesquicentennial celebration of the origin of the town; the downright, ingenuous pride of the people in its unexampled achievements; the inquiring attitude of an ever increasing number of citizens; their inner assurance that the city will match its prosperity with civic well-being; a beginning on the part of the moral reserve force of the city, on the one hand, and its practical organizing power, on the other, to seek a new common outlet; these provide momentum, amid many counter-currents, for an ample hope.

It is of special significance that, for the first time in this country, Pittsburgh secures the advantage of several carefully devised and closely related undertakings in the new science and art of social upbuilding. The welcome extended to the staff of the Survey by leading citizens at the beginning, and their willingness from first to last to listen to its hard sayings, have given the Survey much of its essential driving power. The joint meeting in Pittsburgh of the National Municipal League and the American Civic Association, resulting in a happy co-ordination of higher methods and higher aims of city administration, especially in the session devoted to the Survey,—distinctly helped strengthen and confirm the beginnings of that new public consciousness which includes the greatness both of the city's needs and of its opportunity. The civic exhibit which went with this national gathering, displayed under perfect conditions in the Carnegie Gallery, and setting forth as its chief feature the results of the Survey in the graphic, instantaneous, inescapable language of the workshop, established its lessons in the minds and imaginations of many thousands of those who in every rank go to make up Pittsburgh's industrial forces. And now the appointment by Mayor Guthrie of a strong, representative civic commission, with Mr. English as chairman, and such exceptionably capable and responsible men as are summoned in a great public emergency, to lead committees on public hygiene, housing problems, rapid transit, municipal efficiency, industrial casualties and overstrain, education, police courts, charitable institutions, neighborhood and district improvement agencies, and city planning,—can hardly be construed otherwise than as the final precipitant of a new epoch of masterful humanism in the evolution of America's distinctive industrial metropolis.

A. J. KELLEY, JR.

President Commonwealth Real Estate Trust Company, Member Civic Improvement Commission.

Drawn by Joseph Stella.

PITTSBURGH TYPES. ITALIAN LEADER.

THE ALLEGHENY RIVER VALLEY.


CIVIC IMPROVEMENT POSSIBILITIES OF PITTSBURGH

CHARLES MULFORD ROBINSON
AUTHOR OF MODERN CIVIC ART, ETC.

[Pg 801]

In studying the civic improvement possibilities of Pittsburgh, one is impressed by a curious mingling of antagonistic conditions. A wonderful natural picturesqueness is contrasted with the utmost industrial defilement, smoke and grime and refuse pervading one of the finest city sites in the world. Similarly great wealth and great squalor are side by side. Nation-wide business is done on very narrow streets. A royal munificence in public benefaction goes with a niggardliness that as yet denies to many children a decent playspace. Immense private houses, with the amplest grounds to be found perhaps in any great city, abut on meanly proportioned streets. One is impressed first by the hugeness of the city and then by its lack of coherence. It has been built up as an aggregation of integers, mighty, resourceful, pushing; but lacking as yet in unity. That power, which is the keynote of the city, is not civic. It is not communal power but a dynamic individualism.

But still steep hillsides close with magnificent self-assertion the vistas of business streets, still the mighty rivers, polluted with refuse though they be, flow in great streams to meet at the "Point"; still from heights there are views of surpassing interest; and in the rolling country that encompasses the city with ravine and wooded slope, there still remain gentle loveliness and restfulness in impressive contrast with the throbbing industry of the town. Thus, in spite of itself, picturesqueness such as even Edinburgh, the "queen city of Europe," might envy is thrust upon Pittsburgh, and there is a surrounding beauty that Florence might covet.

[Pg 802]

NATURAL BEAUTY vs. INDUSTRIAL ODDS.

[Pg 803]

In the midst of this strange mingling of opposites, of great opportunities and fearful handicaps, of vast needs and vast resources there appears the gradual stirring of a new ideal. A civic consciousness is awaking and that social conscience which has heretofore operated in individuals merely is becoming popularly active. At this wonderfully interesting juncture, the serious study of civic improvement in Pittsburgh is to be made. What Pittsburgh wants, what she has done and dreamed, what she must do, as a community, for her improvement,—these are the questions for the citizens of Greater Pittsburgh if "greater" is to have all its true significance.

In discussing them let us follow these most obvious divisions of the subject:

First, the congested business district of Pittsburgh proper, that is, the peninsula: its needs and its possibilities. Second, the slum district,—a band of varying width that, regardless of intervening rivers, surrounds the business section. Third, the manufacturing area, very widely extended and therefore affecting the whole city. Fourth, the homes of wealth, typified by the East End, and the educational and cultural center that is building there. Fifth, the suburban district. Sixth, the park requirements of the Greater City. Seventh, the community as a whole.

WHERE THE CARS LOOP.

I.

The business district of Pittsburgh is as restricted as that of an old world city bound in by compressing fortifications. But its boundaries are not to be readily moved like the works of men. They are the broad rivers and the obstructing hill. The district extending from the "Point," where the rivers join, to the "Hump," is approximately an equilateral triangle, of which the sides are less than half a mile in length. Into this small area is crowded the business of an enormous manufacturing center. Here the railroads and boats bring their passengers; here the trolley roads of the whole district converge; here reach the bridges with their continual traffic. The condition is similar to that of Manhattan, except that in Pittsburgh the space in proportion to the business is even smaller.

SMITHFIELD STREET FROM FOURTH AVENUE.

The pressure in such a restricted area is of a double character. There is a pressure for traffic room, and an equally insistent pressure for building sites. One [Pg 804]
[Pg 805]
demand is as legitimate as the other. Therefore, although the streets are too narrow, relief must be sought rather by increasing their carrying efficiency than by changing their dimensions or adding to their number. To accomplish this three plans have been under consideration.

One, and an obvious one, is to increase the area of the business district by leveling the low hill (the "Hump") that bounds it on the east. This plan seems now to have been abandoned. It would involve great cost, and it would not certainly better conditions in the most crowded area. Furthermore, business has about climbed to the top of the hill already.

SESQUI-CENTENNIAL PARADE.

The other plans have to do with the trolley cars that come here from all sections of the city. As most of the cars do not pass through the district, but go out as they came in, there are numberless "loops", each of the various lines making a turn around two or three blocks, with the result that loop overlaps loop, and the cars interfere with one another as well as with general traffic. One plan would put many of the cars underground, in a subway, in the business district; the other, while permitting them to traverse the district, would carry them on into Allegheny to make their loops.

It were better, however, that there should be no loops at all; that the cars should not "go out as they came in." By the substitution of long through lines for the loops which are only a survival of other times and conditions, all the advantages would be gained with none of the drawbacks of transferring the loops across the river.

In the plans for a downtown subway loop, it is proposed that all the stations be located on private property, so putting no additional burden on the streets, and furthermore that the loop be open to the cars of all companies. This would give much relief; and as subways have proved too successful in other cities to be regarded any longer as experimental, it seems that one here, properly constructed and authorized with equal regard for financial and municipal interests, is a civic improvement necessary for Pittsburgh's business district.

ONE OF THE INCLINES WHICH SCALE THE PITTSBURGH HILLS.

[Pg 806]

As it would take some years to construct the subway; and as the relief to the streets afforded by straightening out the surface car routes might be overbalanced by a rapid increase in the number of cars, it is necessary to consider other immediate measures for traffic relief. A rounding of curb corners even at alleys, and the substitution of a well laid grooved rail for the present T-rail may be here suggested. With the grooved rail there is less temptation for teamsters to use the car tracks, the tracks can be turned out more readily and the whole width of roadway is made available, instead of being divided as now into longitudinal sections.

Costly as is the widening of streets, or the opening of new ones, such heroic measures are already being adopted for short distances in the peninsular district. For instance, the city is completing the widening of Sixth street, from Grant to Forbes, an improvement tending to facilitate a further eastward march of business. Of even more importance is the discussed and much needed provision of a better outlet for Grant boulevard. This comparatively new boulevard was designed to afford pleasant access to the East End on a thoroughfare free of car tracks, for those who drive or who ride in motor cars. But the boulevard itself can now be approached from the business district only by Seventh street, which is crowded with freight traffic, or by an ill paved narrow alley. The plan is to widen and repave the alley and thus carry the boulevard to Sixth street, which is slightly less crowded. Another interesting proposal is to give the boulevard, by means of a curving [Pg 807]
[Pg 808]
bridge over the Pennsylvania tracks, direct access to the Union Station, which can now be reached only by a detour. These may be called local improvements, but they have a relation to the whole district, and are likely to be worth their considerable cost.

The Industry Printing Company

NIGHT SCENE IN DOWNTOWN PITTSBURGH.

THE "POINT" OF PITTSBURGH AS IT STANDS TO-DAY.

A new retail shopping district is building up in the East End, and by the erection of great warehouses to the north along Penn avenue, and across the river on the South Side, a great part of the heavy wholesale trade has been removed from the "Point." Nevertheless it is clear that the little triangle, which is the business heart of Pittsburgh, will remain crowded; and that with all these measures taken, the normal growth of a few busy years will produce a congestion demanding some radical measure of relief. Ultimately this might take the form of an elevated structure, or a second street-story for the tapering western end of the plat. The area thus to be raised, and so given double capacity, is not very large, and the merest glance at the topography shows that the bridge near the "Point", which strikes Pittsburgh proper well above the street grade, is about on a level with the top of the "Hump". To build a second story over the intervening streets, reserving the lower story for heavy, slow moving traffic, giving to the abutting buildings two street floors—and thereby increasing their rent productiveness, would present no insurmountable difficulties either from the engineering or the financial point of view. It is a long look ahead, and perhaps not entirely desirable; but it would be a typically Pittsburghian thing to do.

A TRIANGLE WHICH COULD BE MADE AN APPROACH TO THE "POINT".

THE HAMBURG WATER FRONT.

A suggestion for Pittsburgh.

In the limited space available, there can be no consideration of the commercial and industrial aspects of the waterfront; nor can there be a discussion of the project for a deep waterway from Pittsburgh to New Orleans on the one hand, and from Pittsburgh to the Great Lakes and, via the barge canal, to New York on the other. These projects are mentioned only to emphasize the city's need for safeguarding and developing in some useful way every foot of river frontage that it possesses. They would justify a careful and elaborate study of this problem, even were the present river traffic less important than it is, and were the need of breathing spots less urgent.

THE BANK OF THE ELBE, DRESDEN, SHOWING PROMENADE, STREET AND SHIPPING.

As regards the traffic, slips might with[Pg 809] advantage be substituted for the present sloping bank and floating docks. One commission is studying this subject, and another the problem of floods. The reports of these commissions may be awaited with confidence that their recommendations will mean improvement. Sociologically and aesthetically, the gains will be indirect.

As to breathing spaces, however, these gains would be direct, and the step to be taken is yet more obvious. A great deal of river frontage,—as along the Allegheny, under the elevated tracks,—is not now utilized. If would be nothing derogatory to the commercial greatness of Pittsburgh to turn this space into a park. Nobody thought London commercially decadent when the Thames embankment was built. Unused, waste space, in fact, reflects more seriously upon a city's business enterprise than does the humanitarian or aesthetic use of it; and there is no better place for a park designed as a breathing space for shut-in workers, than a river bank with its inevitable current of air.

The crowding of Pittsburgh's business district has resulted in exceedingly high land values. In the whole downtown section no open space, save the plaza before the Union Station, has been preserved for the use of the people. Public buildings have been constructed flush with the walk, and the streets are cramped and narrow. No sumptuous effect is offered anywhere. One of the buildings, however, the county court house, is the best work of H. H. Richardson. It stands on the "Hump," at the eastern edge of the business district, overlooking to the north a tract that is not yet improved. Two other buildings, the city hall and post office, are so out of date that new structures must soon take their places. Thus the opportunity has offered for a civic center group, and there are citizens who have dared to dream and plan. Unfortunately, however, the post office site has now been chosen at a place where it cannot be brought into a civic center scheme. When the choice was pending, the architects, in whose hands the matter mainly rested, were not ready with a sufficiently definite plan. This failure has spurred them on, and they will not be caught napping again. A committee of the Pittsburgh Chapter of the American Institute of Architects has now worked out a civic center plan that is not merely spectacular, but which aims in practical ways to provide sufficiently wide, through avenues for the transportation lines to the business district. The plan will be best understood from the accompanying diagram.

[Pg 810]

THE SITE OF THE PROPOSED CIVIC CENTER.

The tower of the court house is to the left of the Frick Building.

[Pg 811]

SKETCH OF CIVIC CENTER AS PROPOSED BY PITTSBURGH ARCHITECTS.

PLAN OF PROPOSED CIVIC CENTER.

[Pg 812]

It would substitute for a mean and shabby portion of the city an ensemble beautiful and effective, and it would bring a large open space to the very edge of a poor tenement section. Owing to the local topography, the proximity of the improvement would not change the character of a large portion of that section; but it would bring civic art almost to the doors of the residents of the neighborhood. My judgment is that the plan does not go far enough. I shall reserve my supplementary suggestion, however, for more appropriate consideration at another point in this paper.

One more comment might be made upon the aesthetic possibilities of the business section before we pass to the tenement district. It is the universal experience of towns that the first streets parallel the water courses. As the business portion of Pittsburgh is located on that tapering point of land where the rivers draw together at an acute angle, it follows that streets must meet at similar angles, and the cross streets multiply them. Very often at these intersections, small triangles are formed, which might have been preserved as open spaces at slight expense before the demand for building room became so great. Although that opportunity has passed, the sharp building lot corners, with the conspicuousness given by a directly approaching street, still offer to architects an opportunity that is rare in American cities. Little advantage is taken of this opportunity. The Wabash Station is one illustration of how much more interesting from an architectural standpoint business Pittsburgh may some day be made.

[Pg 813]

ONE OF THE MANY PITTSBURGH TRIANGLES WHICH WOULD LEND THEMSELVES TO ARCHITECTURAL TREATMENT.

PITTSBURGH FROM THE SOUTH SIDE—A CITY OF CONTRASTS.

SECOND AVENUE.

[Pg 814]

II.

Completely surrounding the business district of Pittsburgh, in a belt of varying width that disregards the intercepting river, is a section of mean streets, of crowded housing conditions, and if not of genuine poverty, at least of the discomforts which poverty elsewhere brings. This juxtaposition is a familiar phenomenon in urban development, for it is based on the social necessity that the least paid wage earners live within walking distance of their work; on the willingness, and even desire, of the well-to-do to live at a distance from the noise and smoke of business sections; and on the attraction which the constant stimulus of "city" life exerts on those who have few other sources of entertainment. That the river sides do not relieve and break up this belt, is due in part to the local topography. Across the Allegheny, the land is low and subject to flood; across the Monongahela, there is only a narrow strip between the river and the highlands that, rising steeply, offer sites with purer air and wider outlook but that must be reached by riding. Neither river is itself attractive as an outlook for residences.

The civic improvement needs of this poorer and crowded district may be grouped under five general heads. These are: (a) municipal,—as the matter of street improvement; (b) housing,—with which this discussion does not attempt to deal; (c) playspace and opportunity for children; (d) park provision,—which may best be considered in connection with the similar needs of the whole community; and (e) bathing facilities,—which here can be no more than mentioned.

(a) Municipal. The primary municipal need, in so far at least as the region adjacent to the Allegheny is concerned, is flood prevention. That is a city matter plus a good deal else, which will be considered elsewhere in this issue.

The street needs are many and pressing. Conditions in this matter are absolutely disgraceful. Narrow streets are the rule in old Pittsburgh, and smooth pavements cannot be expected upon steep streets. But with all possible allowance [Pg 815]for these facts, there is much that might be undone. The streets are not all steep. Steep streets can be kept clean,—more easily, indeed, than others. Cobblestone pavements can be banished.

AN ITALIAN COURT IN THE HILL DISTRICT.

Well laid brick pavements, or asphalt, or smooth wood blocks where practicable,—and all frequently flushed, are a necessity for this region. Cleanliness, too, should be the rule in the streets and alleys of the poorer sections; and it is here especially that the standard of municipal administration in Pittsburgh needs raising. Only within the past year has the public removal of rubbish been adopted as a municipal function.

It may be profitably reflected that in no other area of the Pittsburgh District would an equal amount of improvement affect so many residents. With original paving costs a general tax, with sanitation in this section a matter of prime importance outside the locality itself, and with the borrowing capacity of the city very large, there ought to be a pretty general reconstruction of the street surface of this district on modern lines. Such improvement ought not to be difficult and, incidentally, should appeal to the pride of Pittsburgh. The stranger, arriving at any of the railroad stations, finds little to admire in the business district. And when he leaves that, in whatsoever direction he goes,—whether to the fashionable East End, to the Carnegie Institute, to any of the parks, to the pleasant[Pg 816] old-fashioned homes in Allegheny, or to the heights beyond the Monongahela, he must pass through this dreary belt of municipal neglect. It is here that unfavorable first impressions become fixed. These regions give a bad character to the whole city.

The necessity for playgrounds is pressing, so pressing that an earnest, self-sacrificing effort has been made to meet it. The work of the modern playground gives benefit in three directions: physical, social and educational. This is recognized by the Pittsburgh Playground Association, an incorporated body which receives appropriations from the municipality, supplements these with private donations, and with the volunteer work of individuals and clubs. In recognition of the threefold aspect of what is sweepingly called the "playground" movement, the association conducts "recreation parks" and vacation schools, as well as mere playgrounds. It holds the theory that "there should be three kinds of recreation centers: first, the school-yard for small children who cannot go more than a few squares from home; then the larger playground with apparatus and facilities for healthy play for all the boys and girls of a neighborhood; third, the athletic field, where teams may meet and where the interest of the community may center." It is clear from this that the lack of play facilities arises from insufficient material provision rather than from inadequate ideals. These provisions are gradually increasing but they have far to go before they will be complete. Thirty square feet of playground space for each child is the minimum provision recommended in Washington and London, and in a bill lately introduced in the Massachusetts Legislature. If the allowance seems too liberal, translate the "thirty square feet" into six feet by five,—the size of a desk! Rich Pittsburgh falls woefully short of this figure. Her need is for more, and more adequately fitted, playgrounds. The poorer districts need them most and the first provision should be made there. This is said with due regard to the limitation of a playground's scope. The sore need for parks located more conveniently to the immense working population, than the present parks of Pittsburgh are, and developed more appropriately to their needs, has not been confused with the community's need for children's play-spaces and recreation grounds. The latter is a separate, urgent and co-existent want, concerned, as is park provision, with the very structure of the city, involving similarly its social welfare, and making a strong appeal in the name of the children. Such a survey of available sites (without buildings or with buildings of little value) as that undertaken by the playground association the past summer should be made the basis for the reservation of sites in congested neighborhoods and outlying districts.

III.

The manufacturing area will not detain us long. It is no one region. Industry is evident everywhere. Pittsburgh is held inescapably beneath its thraldom. Two matters in particular present themselves in noting the relation of the manufacturing plants to the improvement of the city. One deals with their own surroundings and grounds; the other is the smoke.

With a few encouraging exceptions, there has been little attempt to beautify factory surroundings. The exceptions prove what can be done, but it should be recollected that in the Pittsburgh District the handicaps to such ameliorations are particularly great. The ground is mostly clay and shale; smoke and ore dust are very trying to vegetation under the most favorable conditions, work is done at tremendous pressure, the products are heavy, and as a rule the manufacturing plots are no larger than necessary, for actual manufacture, storage, and shipping. Yet it would seem that the Chamber of Commerce might properly add to its committees one that would foster this kind of improvement.

As to the smoke, Pittsburgh's most famous because most obvious drawback, the subject has in the last two years been tackled bravely by the Chamber of Commerce. Its campaign resulted in the appointment of a chief smoke inspector and three deputies, attached, significantly, to the Bureau of Health. Large powers are given to these inspectors. The undue[Pg 817] emission of smoke is declared a "public nuisance" for which "the owner, agent, lessee or occupant" of the building, and the "general manager and superintendent, or firemen" are held accountable. In support of the ordinance, two hundred business men went in a body to the council's chamber, vigorously resisting the attacks made upon it.

RODELPH SHALOM: JEWISH SYNAGOG.

SIXTH UNITED PRESBYTERIAN CHURCH.

IV.

The East End I can best discuss under three heads: a. The residential section. b. The educational and cultural center, which is building at its portal. c. The approach from the business section.

CALVARY CHURCH. Designed by Cram.

As a section of beautiful homes, the East End is at once disappointing and satisfying. If there is the usual conglomeration of architectural styles and if occasional atrocities in domestic construction and landscape design for private grounds are to be found here as in other cities,—and they certainly are,—yet the general average of the domestic architecture and of the garden, or lawn planting, is unusually high. This can be asserted without regard to the money expended,—since good taste is happily not dependent on high cost. The expenditure for both houses and grounds is certainly well above the average, but this only increases the danger. It is to the credit of Pittsburgh's architects and gardeners, and to that of the well-to-do citizens who are[Pg 818] so likely to demand their own way in the creation of their homes, that the results are so excellent. Significant in this respect is the fact that several of the churches are of great merit; and if it be said that the irregularity of topography readily lends itself to unusual and charming effects in house location and lawn development, there should be recollection of the balancing handicaps of poor soil and grimy air.

EMORY METHODIST EPISCOPAL CHURCH.

But if private work is, as a whole, of a high order, the municipal work with the exception of some fine schools is mean, unimaginative and weak. Here surely in street work was the place for boldness, splendor, and large conception. Here liberal outlay was justifiable and would probably have been popular; here, in this comparatively new territory, obviously to be the home of the well-to-do of Pittsburgh, there was a chance to plan for the city beautiful, to design in accordance with modern artistic principles.

Think of what ought to be here,—the broad avenues, with wide strips of parking at side or center; the well-built roads; the interesting vistas; the occasional bridle paths; the rapid transit facilities, in a reserved right of way partially planted out, where cars could make quick time without peril to other traffic; the round points at important intersections of avenues; and all the other beauties and conveniences known to the modern art of city building. But see what we actually find! The narrow streets persist. The heavy cars go rattling and roaring along the middle of the road on protruding and dangerous T-rails, the tracks taking a good half of the total space. The strip of parking between walk and curb, if there be any, is hopelessly narrow. Gaunt telegraph poles, burdened with a mesh of wires, stand where the trees should be. Here and there billboards and lettered fences flaunt commercialism and burlesque art in the face of beautiful homes and of the Carnegie Institute itself. Of course, there are exceptions. There are some short streets and semi-private ways that are good. But the general impression of Pittsburgh's East End has been described.

If it be not too late, if the rich of Pittsburgh are willing to contemplate a generous expenditure for the better setting of their homes, they should secure a plan for the recasting on noble and comprehensive lines of the whole section.

ST. PAUL'S CATHEDRAL. (Roman Catholic).

[Pg 819]

CHURCH OF THE ASCENSION.

Because a few such men, who command the means to make their ideas effective, have had public spirit, generous impulses and broad ideals, a very interesting educational and cultural center is developing at the portal of the East End. It is one of the few examples in this country of consciously directed growth, though it should be added that it has its limitations in the fact that as yet that growth has not had professional direction, and seems still vague and uncertain as to the general scheme. Take, for descriptive purposes, the Carnegie Institute as the center of the scheme. We find directly west of it the entrance,—yet to be formally developed,—of Schenley Park. On the edge of the park and still back of the institute, the great group of Technical schools is building. On the other, or north side of the institute, is a valuable tract as yet vacant. A bit to the east of this, and a couple of blocks north of the institute, is the new cathedral, with no adequate setting and at an unfortunate angle with the institute, but inevitably a unit of the general scheme. In the same neighborhood the new high school is to rise. On the other, or west side, of the vacant property is the Schenley Hotel in spacious grounds; further north is the War Memorial Building and across from it are the sites of the University and Athletic clubs. Then comes the new property of the University of Pittsburgh, which is built with ampleness of design. Back of all, reaching over a hill that will frame the picture in this direction, lies the Schenley Farms property,—a large tract, held at high prices for expensive development, and capable of a picturesque and beautiful treatment,—if only that costly, commonplace checkerboard development can be foregone, which consists of cutting straight streets into the hills, at vast expense, to the destruction of what is picturesque, and at the sacrifice of building area. This tract, owing to its elevation, is so conspicuous a feature that its proper treatment is essential to the artistic success of the whole scheme. The architects, who, at the exhibit of 1907, displayed a plan for a civic center, put forward also a plan for a rearrangement of the streets in this region, for a widening of public spaces, and a tying together of the various separated units.

CHRIST METHODIST EPISCOPAL CHURCH.

There is need only to add that the site of this center is strategic from the civic improvement standpoint. It not only lies at the portal of the East End, but on the west and north the highways to the business portion, including Grant boulevard, make it a focal point. There may be criticism of its choice as an educational center, especially for the Technical Schools, on the ground that it is far from the population to whom the proffered facilities would be most helpful. But it is approximately at the Pittsburgh District's geographical center, and there is convergence of street car lines to within a quarter-mile's park walk. The city itself gave the site.

[Pg 820]

CARNEGIE INSTITUTE.

Library to Right.

CARNEGIE TECHNICAL SCHOOL.

PHIPPS CONSERVATORIES IN SCHENLEY PARK.

[Pg 821]

In speaking of the civic center scheme for the business district, earlier in this article, I held that it should be supplemented by a larger one. This larger plan would provide a fitting approach to the East End, and could be made to join the two great improvement projects.

Owing to the interruption offered by Herron Hill, the usual approaches now to the East End are by Forbes street or Fifth avenue,—two mean and crowded thoroughfares, a block apart, that parallel the Monongahela and carry street car traffic by the shortest route to the Carnegie Institute region and the section beyond; by Wylie and Centre avenues (half over the hills), or in a roundabout way, by Liberty street or Penn avenue,—again relatively narrow and crowded thoroughfares, and for the most part meanly built up; or, finally, by Grant boulevard. The latter, beginning near the Union Station and cut out of a hill at much expense, was an attempt to provide a pleasant approach. Like the drives and viaducts serving the outer park reservations, it shows imagination and engineering skill. It is indirect, however, is too narrow to carry the bulk of the vehicle traffic, and with its cuttings, vacant property, sunny stretches and aggressive billboards, it is not yet inviting but it could be made attractive by terracing and parking. The need, however, aesthetically and practically is for an approach that shall be better than any of these.

Forbes street and Fifth avenue run east from the jail and court house in perfectly straight lines. They are at approximately even grades for a mile, separated from each other by only a short block. At Seneca street the grade changes, and from there on any joint improvement would involve a viaduct or other device, until the streets grow parallel, and close together again for the final half mile to Schenley Park. Suppose the two streets thrown together in one broad and splendid way, from the jail straight eastward for the first mile. None of the property here is expensively built up; most of it is exceedingly poor and shabby. There are, for the whole distance, the two streets and an alley, a total width for the whole distance of probably at least 140 feet that is now public property. At short intervals there are cross streets, to the number of about a dozen; these also are public property. And there is a school in the area to be used. Thus, altogether, the municipality already owns, one may confidently say, more than half of the land that would be required. The only question is concerning its wisest utilization. It may be admitted that to buy the intervening private plats, unifying the public property and making it available for a single scheme, would involve large cost. But there would be much on the other side of the ledger. Think of the noble thoroughfare, with its special lanes for high speeding surface cars, its quadruple roadways, one for fast moving and one for slow moving vehicles in each direction, its lines of trees and shaded walks; think of its convenience, its directness, its capacity, its spectacular sufficiency; think of the increase in the value of the abutting property. Under the Pennsylvania Law of Excess Condemnation part at least of this value would accrue to the city, as in the case of the great London improvements. Even in the matter of absolute (initial) outlay, the expenditure would probably not be greater than for the subway now proposed, while it would grant practically equivalent facilities for transit, as far as rapidity is concerned, with many other advantages.

Instead of expending a vast sum to give setting to a group of public buildings, in the proposed civic center, this parkway could be made to give the adequate setting incidentally. Certain ones would be placed along its margin at the western end. Further, the improvement, instead of redeeming one small space, would redeem two streets for a mile at least. It could even be extended farther [Pg 822]
[Pg 823]
by means of a viaduct or some other device, and ultimately carried clear out to Schenley Park.

PATH IN HIGHLAND PARK.

There is no opportunity in this discussion to go into the project with detail. Even the Eastern terminus of the improvement must be left for later consideration. But it is plain that should the avenue stop at the mile, that much would be worth doing and would immensely increase the comfort and decrease the delay of getting to the East End. Further, the splendid avenue would be democratic in its benefit, since the trolleys would have their place in it. The wage earner would go bowling home or to business as well encompassed as the motorist. The social benefit of that, and of the ceaseless entertainment which the traffic of the gay avenue would offer, is to be esteemed. There is no park so popular as a great street.

V.

Pittsburgh's built-up suburban district is varied and far scattered. It lies along the rivers, as at Sharpsburg, in industrial towns; it lies among the hills, as at Sewickley, in purely residential areas. It is reached in some places by steam cars, and everywhere by trolley. It is the home of the millionaire and of the moderate wage earner. At times it is beautiful, and at other times it shows hardly the beginnings of aesthetic aspiration or social consciousness. No brief discussion of it is possible, for each separate suburban community would have to be taken by itself. But in a general way this can be said: As nature has given to Pittsburgh one of the most picturesque city sites in the world, so she has done what she could to circle the city with lovely suburbs. With sane and artistic planning, popular co-operation, and a degree of patience, the beautiful suburb with winding roads, entrancing views, individual privacy and communal neighborliness, might have been secured much oftener than it has been and it might have been brought within the financial reach of much greater numbers.

For suburbs rapid transit is essential; and that as yet has had nothing like the development one would expect near Pittsburgh. The subway plan involves the radiation from the loop of long, straight roads furnishing to certain outlying sections a transportation much more rapid than at present offered. With low fares, this should mean much to crowded Pittsburgh. But the time to improve suburbs is before, not after, the rush thither begins. The suburbs must act as quickly as must the East End, the playground supporters, the designers of an educational center, and the builders of an adequate East End approach. In all that Pittsburgh is to do for civic improvement she must act at once, generously and with comprehensive grasp.

VI.

With the exception of occasional ornamental spaces, and a few parks so small that they have only neighborhood importance, the parks of the Pittsburgh district may be said to consist of four public reservations. These are Schenley and Highland, in the East End; Riverview in Allegheny; and, in the older portion of Allegheny, the reservation,—once a great hollow square,—like a New England common; now in part relinquished to the railroads. Neither in total acreage, nor in distribution, nor in manner of development, are these parks what Pittsburgh ought to have.

Perhaps, of its kind, the old park in Allegheny is the most satisfying. Located close to the homes of a very large population from whom the country is far removed, it offers long, level stretches of greensward where good trees cast grateful shadows, with walks that one may use even when on business, with numberless benches that are never empty on summer days and evenings, a little lake at one place and now and again a fountain where the splash of cool water gives ceaseless entertainment. It is a pity that this park was deprived of nearly half its former area, that the railroad might have a convenient path.

Highland and Schenley, over in Pittsburgh's East End, are elaborately and expensively "improved." You get into Highland through a monumental entrance; costly beds of annuals confront you; from the reservoir heights there is a superb view; in a lower corner there is a Zoo, which is remarkably well set; and there are some charming retreats. It is a pretty good park of its kind,—a[Pg 824] very costly, luxurious kind; and though it is located in an expensive residential neighborhood five miles from the city hall, a good many people get to it on holidays. It does some social work although far from the amount desired. Schenley does very little. The Phipps Conservatories, happily located near the entrance, are much visited when "a show" is on; somewhere in the inner recesses of the park there is a driving circuit, of which the crude old grand stand looms on the landscape like a combination of lumber yard and weatherbeaten country barn, and somewhere else there are golf links, maintained by a private club, where you may play if properly introduced! On the Fourth of July, fire works bring a crowd to the park. But it is significant that while there are costly bridges and many drives, there are no paths or walks. The cars touch only one projecting corner, and there are no park carriages. He who has not his own horses, or his own motor car, need not enter the East End's Schenley Park. For it is, typically, the East End's park, adapted fairly well to its neighborhood, but not at all serving the democratic needs of Greater Pittsburgh.

Here is a great industrial city. The scores of thousands of people whom the parks should serve are many of them foreigners, and the mass of them are workers over a single piece. Practically all of them work amid smoke and grime. The beauty of nature may be a new thought to these people. They should be helped to appreciate it, but they must be given first what they do understand and enjoy,—entertainment, vivacity, and brilliancy. If Schenley Park is little visited; a trolley park far away, where swings and boats, slides and ponies, keep something going all the time, is crowded day by day; and when, in the moonlight, shadows lie on the hills of Schenley, and the stars look down on deserted though free acres, other parks that are garish with a blaze of electric lights are thronged with people who have gladly paid a fee for admittance. There they find something to see and to do.

Industrial Pittsburgh ought to take pride in developing the special kind of park facilities that its population needs, and in setting an example to other cities. A comprehensive system of children's playgrounds would do something toward this; the proposed mall or parkway approach to the East End, where some thousands of the relatively poor would find, almost at their doors, a mile long open space with its ceaseless urban entertainment, would do something more; a system of small open spaces or outdoor social centers, where a man could smoke his pipe and chat with his neighbors, his wife at his side and his children at hand, would make further contribution; and the riverside park proposed for the business district, still further. But there should be two or three well-distributed and readily accessible large parks that would be real municipal pleasure grounds. Here should be ample athletic fields, a swimming pool, and a large field house; a band playing at frequent intervals; swings and boats; cheap conveyances that would make the whole space available; illuminations and song festivals; and refectory accommodations, with tables placed attractively out of doors, and wholesome food and drink at low prices. Tired workers, going to this free public park, should find entertainment. Little by little, and incidentally, they might learn there the more tranquil pleasure of contemplating nature.

There are various places in Pittsburgh where such parks could be established. One, that seems to be singularly adaptable is Brunot's Island. There is Maple Park on the South Side. For a neighborhood park, which by mere convenience of location and inherent interest should invite the Pittsburgh workman out of doors, the steep bank that rises across the Monongahela offers a site very distinctive and appropriate. Day and night the interest of its outlook would not cease. It would require little development. Inclined roads already scale the cliff, and midway stations would make any terrace available. And whatever landscape improvements were made would be visible and enjoyable from the business streets themselves. In Allegheny such a park site is already owned on Monument Hill.

PANTHER HOLLOW.

Schenley Park.

The site of the penitentiary may some day become another available park site, for a penitentiary in the heart of a city is undesirable. Another wonderful park [Pg 825]
[Pg 826]
site, so wonderful that it is difficult to perceive why it has been so long neglected since track elevation has made it available, is the tip of the "Point." To-day it is a dumping ground. Aside from the historical and natural charm of this location, should be noted the breadth of outlook it offers, its free currents of air, its proximity to a large working population and the possibility of its attractive connection with a yet larger area by means of the suggested embankments which would practically form a riverside promenade and parkway to it.

With the acquisition of more parks it would be possible to arrange an interesting connecting system of boulevards and parkways. It is not enough simply to designate an existing street a boulevard. Calling it so does not make it so. And when Pittsburgh awakes to her greatness, and appreciates the surpassing beauty that might be hers, there is no reason to doubt that among other things she will commission the planning of an excellent system of drives.

There are naturally beautiful runs, now despoiled with mean dwellings and made little better than open sewers, that might be transformed into parkways; and there are hills and stretches of fair country that could be had now for a song for an outlying park system. It is true that all this will demand money, but there are no improvements that by long term bonds can be so justly made a mortgage on the distant future as those for parks. School houses, fire houses, public buildings, deteriorate with the lapse of time, but parks and boulevards become yearly of greater value.

VII.

The final word, which has to do with the needs of the whole community, hardly requires saying. It is a plea for comprehensive planning. Surely, if ever a city needed the definite plan that an outside commission could make for it, it is Pittsburgh. In most cities the "improvement" problem is largely aesthetic. In Pittsburgh, it is also economic and social. Its correct solution is something more than a desideratum; it is a need.

SESQUI-CENTENNIAL ARCH.


[Pg 827]

EFFECT OF FORESTS ON ECONOMIC CONDITIONS IN THE PITTSBURGH DISTRICT

W. W. ASHE
U. S. FOREST SERVICE

Three rivers determined the location of Pittsburgh. They have been important factors in creating its industrial position; they are now important agents affecting the health and earnings of thousands of its citizens. The two score of iron and coal towns which are known as the Pittsburgh District, fringe the banks of these rivers. Mine, factory and furnace alternate with the residence settlements of the laborers, and they and the railroads compete with the streams themselves for ownership of the narrow strip of land between low water and flood crest. With every recession of the floods, man crowds the streams, only to be driven back when they reassert their suzerainty. Whatever can be done therefore, to tame their caprices, to equalize their flow, either by lowering the flood crests or increasing the low water stages, adds to the well-being and prosperity of men who work at forge and furnace, or go with the barges,—men whose living is from day to day, and to whom the idle day brings want.

The flood is the open expression of the rivers' authority. But they have another and more subtle influence. It is less direct, but it has a wider relation to the well being of the city, not only affecting the laborer who lives on the lowlands, but affecting all citizens alike. The rivers and their tributaries near which Pittsburgh and the surrounding towns are situated, furnish these in most instances with their water supply. The character of this water affects the health of the users, and their working efficiency.

All the drinking water used in the Pittsburgh District, except that from artesian wells or similar primarily pure sources, has been contaminated by the sewage of towns and villages higher up the rivers. Through such contaminated water typhoid fever and other zymotic intestinal diseases are widely disseminated. Scarcely a town in the steel and coal district has not been devastated by an outbreak of this dread scourge. The condition of Wilkinsburg is typical, its water supply being contaminated by the sewage of more than twenty towns. The new filtration plant for Greater Pittsburgh delivers to most of the city a drink much superior in quality to the highly polluted waters generally used. But filtration is only a first step toward purity, and toward decreasing typhoid fever and the other water-borne diseases. Filtration removes a high percentage of the pathogenic bacteria by which these diseases[Pg 828] are transmitted; but a highly contaminated water, such as that of the Allegheny River, purified even by the best methods of sand filtration, is not pure water. Intelligent users must at length realize this and demand for their own health not a purified water merely, but a primarily pure supply, safeguarded by sedimentation and filtration against occasional contamination. Within easy reach of Pittsburgh and nearly every one of its satellite towns, lie abundant sources of primarily pure supply, in the forest-protected mountain streams.

Hitherto the cost of purchasing a forested watershed and holding it as unproductive property has deterred cities from seeking such sources. That difficulty no longer exists. Forest lands have now a recognized and constantly increasing earning power. If a watershed is purchased at a reasonable price and is well managed, it will become, as stumpage further appreciates in worth, a valuable municipal asset. Or if a town is small and unwilling to assume the responsibility of such management; it can well co-operate with the state in developing a system which will secure to it pure water, and at the same time preserve to the state the earning power of its forests which are among its most valuable natural resources.

Domestic water supply, however, is largely a matter local to each town or each group of towns. But the wage earners of the whole Pittsburgh section are yearly vitally affected by the rivers in a different way. The earnings and even the lives of thousands, especially of those living in the low districts of the larger cities, are threatened by the winter and spring floods. These floods frequently result in losses to wage earners aggregating several million dollars a year. In the flood of March, 1907, it is estimated that more than 2,000 families in the river districts of Pittsburgh, and an equal number in the low lying sections of nearby cities, were forced from their homes or their stores by high water. Quantities of personal effects were injured or destroyed; lives were lost; and much suffering followed the winter exposure. The effect of the flood in increasing certain kinds of disease is shown by a comparison of the pneumonia and typhoid records in the flooded wards of Pittsburgh. Dr. Beaty of the Pittsburgh Bureau of Health gives us the number of cases of these two diseases in certain wards on the North Side, which are largely tenanted by laborers, and were partly inundated.

In March and April, 1906, when there was no flood, there were fourteen cases of pneumonia and forty-eight of typhoid fever.

In March and April, 1907, when the flood had a height of thirty-six feet, there were forty cases of pneumonia and 118 cases of typhoid fever, more than twice the number of the preceding year.

During the flood the water and dwellings in these districts became badly contaminated by human waste, since the flooding of toilets and sewers prevented their use. At the same time many families usually dependent upon street hydrants for domestic water had to make use of this extremely impure river water. This affected large numbers of people, many of them recently arrived foreigners unacquainted with methods of securing ready relief. But a more general suffering was occasioned by the loss in wages through the closing of large establishments whose plants were flooded. It was estimated at the time by one of the local newspapers that more than 100,000 people in the Pittsburgh District were idle for an average period of a week on account of the March flood of 1907. A typical example is the National Tube Works, where different departments were closed from ten to fourteen days, throwing about 10,000 men out of regular work. About 4,000 of these were employed for three days as laborers, cleaning up after the water subsided. The same thing is yearly repeated in many other large factories as well as on the railroads. It is no exceptional occurrence. A similar, though less severe flood occurred two months earlier the same year and another in March, 1908. It is indeed an exceptional spring when there is not a flood. The losses to laborers by curtailment of wages from this cause are seldom so excessive as they were in the flood of March, 1907,[Pg 829] but they amount annually to more than $100,000. Moreover, this loss takes place in the winter, when the wage earner can least afford it.

DENUDED LAND DEVOID OF HUMUS, ON THE MOUNTAINS; LARGELY RESPONSIBLE FOR FLOODS ON THE MONONGAHELA RIVER.

RAILROAD BRIDGE DESTROYED BY FRESHET. THREE MEN WERE KILLED IN THE WRECK WHICH FOLLOWED.

[Pg 830]

FARMING LAND DESTROYED BY FLOODS. MONONGAHELA RIVER.

WAGE-EARNERS' HOMES ABANDONED ON ACCOUNT OF FRESHET.

[Pg 831]

The river floods cannot be prevented by local effort. Their damage is by no means confined to Pittsburgh; it extends the entire course of the Ohio River and its most important tributaries; its causes originate in other states besides Pennsylvania. Although the state and even the cities might well co-operate in certain ways, the prevention of these floods is a problem for the Federal government to consider.

The cause of a flood lies partly in natural conditions. The run-off of the Allegheny and Monongahela Rivers is naturally concentrated and the highest floods occur when a deep snow on a frozen soil is suddenly melted by heavy warm rain. But their height has been accentuated by human agency; and this points to the two necessary phases of river flood control work. One is the re-establishment of normal forest conditions. This means not so much a great extension of the forest area, although there are many steep slopes now cleared which should be re-wooded; but it means the restocking as densely as possible of lands which have been cut or badly burned and are thinly or partially wooded. This is a means to an end. The forest produces a deep mat of leaves and mould, the humus which not only has a high water storage capacity itself but determines largely the porousness and absorptive power of the underlying soil. This function of the forest is not incompatible with the use of its timber. The most rapid growth of timber is secured by maintaining the deepest humus; but the cutting of it must be adjusted under skilled direction in order not to jeopardize the water storage function of the soil.

Furthermore, there is need of more evergreen forests. The pine and hemlock have been largely removed from the mountain sources of the Ohio. But these trees prolong the melting of deep snows, even under warm rains, for several days longer than deciduous trees. The re-establishment of forests of conifers will therefore contribute to lowering the crests of floods by distributing the flow over five or six days instead of two or three. This is one phase of the work of river control.

FEDERAL STREET DURING FLOOD OF MARCH 14, 1907.

On account, however, of the large areas of open farm-land that lie on the watershed of the Ohio and that cannot be reforested, additional means are necessary for storing the surplus storm water. There should be storage reservoirs such [Pg 832]as are now being used at the head of the Mississippi River for regulating the flow of the river above St. Paul. These reservoirs must be on wooded watersheds; otherwise they will silt up and they will hold back some of the storm water and lower the height of floods, they will have an additional value for they can be used as reservoirs for domestic water supply. They can also be made to increase the dry season flow of the streams, thus furnishing a stable water power for industrial use and permitting steady navigation during summer and autumn when the water stage is frequently too low even for coal barges. Thus, by means of the forests will be secured not only a reduction in floods but also a greater earning capacity to the region through the development of the latent power of its streams.

The rivers, then, are at once the making and the menace of Pittsburgh. It is through the forests and by reservoirs that the menace can be removed and the highest utility of the streams established. The purity of the water for drinking purposes can thus be assured. This involves a betterment in the health of the community and an increase in the efficiency of the laborer. The equalization of the river flow can also be thus attained. And this involves, first, the lessening of flood losses, and, second, the increasing of the power of the streams to meet the exacting requirements of water power development. The lowering of the floods secures also a further betterment in health by improving the sanitary condition of the districts subject to inundations, and a betterment of economic conditions, both by giving the laborer more steady work during flood and low flow periods, and by opening to him, through the creation of new industries, a wider field of employment.

A MILE OF WATER ON PENN AVENUE DURING PITTSBURGH'S RECORD FLOOD, MARCH, 1907.


THE TRANSIT SITUATION IN PITTSBURGH

JOHN P. FOX

SECRETARY TRANSIT COMMITTEE, CITY CLUB OF NEW YORK; MEMBER TRAMWAYS AND LIGHT RAILWAYS' ASSOCIATION OF GREAT BRITAIN

[Pg 833]

Transit has a place in the study of living conditions in an industrial city like Pittsburgh. Many of the workers are dependent on street cars to take them to and from home, about their occupations, and to places of recreation. Cheap and efficient transit can enable families living under crowded and unhealthy conditions to move to larger, healthier, and less expensive quarters, and still to reach their work. Low fares and good service bring the operators in a suburban mill town in touch with the full resources of the labor supply in the central city, and also effect a large and direct pay roll economy for carpenters, plumbers, painters, and other city trades whose employes move from point to point during working hours. Again, in no place are people packed together more closely than in the cars, under more conditions favorable to the spread of disease and especially of tuberculosis. And among accidents, few are more numerous, more costly to corporation and community, and more unnecessary, than those caused by street cars.

The street railway system of Pittsburgh is a surface electric system, under the management of the Pittsburgh Railways Company. This company is the consolidation of many other companies, different groups of which had previously combined. The Pittsburgh Railways Company, again, is under the management of the Philadelphia Company, which largely dominates the gas and electricity supply. The Philadelphia Company is said to be controlled by nonresident investors. The present owners and local managers may well be without personal responsibility for the acts or omissions of their predecessors, and yet be crippled by exorbitant obligations to them. Their legal responsibility as to the performance of public service is, however, clear cut.

All the available through thoroughfares leading to the heart of the city from the South Side, North Side, and East End are occupied by the Pittsburgh Railways Company under franchises granted to its subsidiary companies, and as a practical proposition it is impossible to construct additional surface lines or extend surface transit facilities to new areas providing for the growth of the city, except in subordination to these strategic lines. This restriction of course does not apply to rapid transit lines,—subway or elevated.

The principal franchises to these streets held by the original companies appear to be indeterminate in duration, as in Massachusetts, the city having reserved the right to revoke a franchise at any time that a company failed to comply with all the conditions of the agreement. The terms of the original franchises (the Second avenue line being the exception to many of these points) provide for an annual compensation to the city, either a car tax and a percentage of the net profits or a fixed rental in place of one or both of the former. The streets must always be kept in good repair, and in certain cases, at least, clean (either from curb to curb, or along the car tracks). The city sometimes retained the power to alter the conditions, and notably reserved the right to purchase any road after twenty years, at a price to be fixed by five disinterested appraisers. Important provisions of these original franchises are not being observed by the existing company. These facts must be borne in mind in discussing both the equipment of the present system to meet the social needs of Pittsburgh, and ways open to the public to effect improvement.

Though the steam roads have played an important part in the past, the growth of Pittsburgh is now chiefly along electric car lines. The radiation of surface lines from the business center out over the district seems quite complete, especially considering the topography of the city and the suburbs. Large areas of vacant land available for single[Pg 834] houses, can be reached for five cents from the business district.

While the radiation of surface lines may be satisfactory, the equipment and operation are exceedingly unsatisfactory, as every practical man in the railway company will admit. The present system has its base located on the point between the Allegheny and Monongahela Rivers. Most of the lines begin as loops through these business streets, operating without transfers between the different lines and without through cars.

FOR PROFILE LINES AND CAR ROUTES, SEE MAP FACING PAGE 784.

A five-cent fare carries one varying distances from this business center, before a second fare is charged. The longest ride for one fare is about eight miles; while a continuous ride of fourteen miles on another route, costs fifteen cents. Passengers cannot change cars in the business center without paying two fares, and a ride across the city and suburbs may cost as much as twenty-five cents. Free transfers, are given between many lines before they enter the downtown district; but no transfers are issued after 11:30 P. M., and none on holidays such as the Fourth of July, when travel is heaviest.

The cars till recently have had no cross seats, longitudinal seats having been used, according to the company, "to allow an extra large capacity," viz., standing capacity. Trailers are run at the rush hours. A line of express cars runs east from the business center to East Liberty, through Liberty avenue, making few stops, though the speed on sample runs was found to be sometimes slower than that of cars on the parallel Penn avenue. The speed of the cars is fast enough for surface operation, except when the power is poor, on steep grades or in the congested district. The service is very unsatisfactory both as to the few cars run and as to the amount of standing, which is inexcusably large. The rails are of the girder type, one obsolete in first-class systems; and are in very bad shape everywhere. The property is very much run down, except for a few new pay-as-you enter cars. The only real rapid transit in Pittsburgh is furnished by the Pennsylvania and other steam railroads, the common time[Pg 835] scheduled from the Union Station to East Liberty being ten minutes by train, against thirty minutes by surface express cars.

Before taking up in detail the discussion of improvements on existing lines, it may be well to touch on the financial condition of the Pittsburgh Railways Company, and to consider whether the property can afford to make such improvements; for one hears the excuse for bad conditions that the company is not earning a dividend and was forced even to reduce the service. The Boston Elevated Railway Company, which operates all the surface, elevated and subway lines about Boston, is regarded as a very prosperous concern, paying dividends of from six to eight per cent. the net earnings per car mile after paying taxes being 6.54 cents. The Pittsburgh Railways Company, according to its last public report, had net earnings, after paying taxes, of 12.55 cents per car mile, about double the amount of the Boston company. This is a most remarkable financial showing, and at once raises the question, where does the money all go to and why cannot more of the excessive profits be diverted to better service and equipment? The Boston company is operating to-day three subways and one elevated line, besides having contracted to build two more subways and another elevated. It is obvious that the Pittsburgh Railways Company could not only give a first class service on existing lines, but could also assume the fixed charges of a real rapid transit system, if profits were not diverted to pay excessive rentals and other fixed charges on the many companies consolidated at different times. Some way must be found to cut down these exorbitant charges, for the present management can hardly expect the public to endure existing conditions much longer, when the earnings are so vast. People in other cities, when really aroused, have found ways to bring the most intrenched monopolies to terms.

The congestion of cars in the business district of Pittsburgh is a very curious phenomenon. Most people, seeing the frequent blockades at street junctions in the rush hours, would say that there[Pg 836] were already too many cars on the streets, and that the overcrowding is a necessity, only to be remedied by building a rapid transit line. Others, however, see that the terminal loops cause much of the congestion, and that by rearranging or abolishing these, even more cars could easily be handled in and out of the crowded center. As a matter of fact, at no place in Pittsburgh does the number of cars passing hourly reach even half the maximum number found possible in other cities; 43 cars in thirty minutes was the largest number counted by the writer, against 128 cars in Berlin. The maximum Pittsburgh hourly rate on a single track would be 86 cars; Boston has scheduled 220 an hour; Berlin runs as many as 256; while Brooklyn handles over 300. At the busiest junction in Pittsburgh, the writer found a rate of 276 cars an hour in all directions, against 557 in Berlin, where there were many more vehicles besides.

The overcrowding of the Pittsburgh cars is either intentional or due to bad operating methods. The seating capacity of the present surface lines has been far from reached. Take Fifth avenue at Smithfield street, for example. In one half-hour in the evening from 5 to 5:30 P. M. about 2,290 passengers were carried east one night in forty-three cars, thirty-two being motor cars and eleven trailers. If every motor car had hauled a trailer, and four additional pairs of cars been run, every passenger could have been seated, whereas 785 were obliged to stand, or more than fifty per cent of those seated. The total number of cars in one hour would only be 144 against 256 in Berlin. If the company had cross seats in all the cars, merely seventeen more trailers on Fifth avenue, added to the present number of motor cars, would have seated all the passengers, with a total of only 120 cars an hour. In Berlin the street railway company provides as many as 3,116 seats in half an hour, and the London County Council as many as 3,538 seats, against the 1,504 in Pittsburgh.

It may be wondered how it is possible to get so many cars past as in Berlin. It is done by fine traffic regulation by the police, who use careful judgment, and do not hold up traffic too long in any one direction, as is common in other cities, even in London, the home of street regulation. Again, the Berlin tracks are so good and the motormen so careful, that the latter operate cars over switches and junctions at speeds which are never seen in Pittsburgh, car following car with amazing rapidity. And the Berlin manager proposes to run even more cars.

MOTOR CAR AND DOUBLE-DECK TRAILER CROSSING POTSDAMER PLATZ, BERLIN. 557 CARS AN HOUR AGAINST 276 IN PITTSBURGH.

In no city does the writer recall so much standing required of passengers as in Pittsburgh. It would appear to be the company's object to run few enough cars to make people stand on every trip throughout the day, and as nearly the whole length of each line as possible. There is little relief during the slack hours, as every car, sooner or later, [Pg 837]seems to have its standing load. In other cities of the country, a marked change of policy towards the public has shown itself in the largely increased number of seats furnished. It is a question whether it is a good policy for any public service corporation, no matter how securely intrenched, to continue the policies of the past.

SECOND CLASS BERLIN ELEVATED AND SUBWAY CAR. FARE 3½ CENTS. SOFT LIGHTING; NO STRAPS; DESIGNED BY ONE OF THE FIRST ARCHITECTS OF BERLIN.

It is one thing to allow a few persons who like it to stand on the car platform; it is another to require it of mothers, overworked girls, the tired, the ill, the infirm. No one knows how much disease is spread through such crowding. In no place are conditions more ripe for infection,—with the extreme of personal contact, the mixture of every class, the constant rubbing against one another and the holding of dirty strap. Under such conditions, when a consumptive coughs, who is safe?

The seating capacity of a city car line seems hardly to have a final limit, for some new way is constantly found to squeeze in more or larger cars. To get some figures by which to judge Pittsburgh, let us take the 256 cars run hourly on a single track in Berlin, or call it 250. If double-deck cars were run in Pittsburgh, of the same length and width as the largest cars now in use, each could easily seat as many as 120 passengers. This would allow a perfectly feasible capacity of 30,000 seats an hour, against a rate of 3,008 actually found on Fifth avenue.

Why double-deck cars are not run in this country is a mystery to every English manager and to not a few Americans. They nearly treble the seating capacity, and yet weigh no more than our wastefully heavy rolling stock. They give passengers decent room and air space. They are far more economical even than trailers. Roofs on these cars are now enclosed, and smoking is made possible all the year round. They can climb and descend hills more quickly and safely than single-deck cars of equal capacity, because more weight can be concentrated on the wheels. Two types have been designed for Pittsburgh of the same length and width as existing cars, both having an enclosed roof adapted for winter. The higher one would have 120 seats. The other type, low enough to go under existing railroad bridges, would furnish ninety-eight seats on one car, with four entrances each side. If such cars had been used on Fifth avenue the night when 2,290 passengers were counted in half an hour, they could have furnished seats for every person, with seven per cent excess. Only twenty-five cars instead of forty-three would[Pg 838] have been needed, which would have required fifty men against the seventy-five actually employed for the 1,508 seats. To furnish more seats with trailers would cost more than the present system; but double-deck cars would cut thirty-three per cent off the operating expense, and the company would gain more than the immense monetary saving. They would lose less fares, have the good will of the public, and fewer accidents. The new pay-as-you-enter cars are the most expensive thing with which to furnish seats, and they take twice as long to load as a double-deck car, the introduction of which would appear to be the wisest move the company could make, as well as the best thing for the public.

One of the most objectionable features of the Pittsburgh railway system is the looping back of all cars in the business district, without either through cars or free transfers between the north, south, east, and west sides of the city. In the expensive days of horse cars, there was more excuse for short hauls and double fares; but for the wealthy Pittsburgh electric system, there is no excuse for not serving the entire district, at least within the city limits, for a five cent fare. Boston has had through cars across the city for about twenty years, and for ten years the company has had no higher fare than five cents for the entire Metropolitan district of a dozen cities and towns. The longest ride is at least sixteen miles, with free transfers given at about forty points. Berlin has the most complete system of through cars, connecting every part of the city for a single fare, allowing a ride of thirteen miles or two hours for two and one-half cents.

It seems very doubtful if the present restricted plan of operation pays nearly as well as would through cars and single fares for the entire city. The loops tie up many cars and men in the business district, because of the long stops at a few points and the slowness of switching. But one thing is certain, and that is the gross injustice of a ten cent fare across the city. Its tendency to isolate such public institutions as the Carnegie Institute, the Technical Schools, the University of Pittsburgh, is a very serious matter. An apprentice who attends the evening courses at the Technical Schools three nights a week, pays $5 a year for his tuition. If he has to ride each way, it costs him about $7.80 a year from only the nearest part of the city, $15.60 from the rest. Is this good public policy toward the ambitious workman who is unfortunate enough not to live within the favored zone? Is it good sense that the railway company shall charge twenty cents a round trip to so many who appreciate the free advantages of the Carnegie Institute, and thus bar many of the poorest from ever reaching its doors? The company may reply that all such public institutions should be located in the business district, where all lines center. But the city must grow beyond that congested triangle, and why should not the company's policy grow as well? The same question might be asked in connection with the company's refusal to give transfers after 11:30 P. M., and on the holidays when travel is heaviest. Altogether, it is not a matter for wonder that the public is a unit against the railway.

The whole fare system of Pittsburgh needs careful scrutiny. Should workmen's fares be introduced, to give every family a chance to live where it can find the best house, the most congenial neighbors, and the desirable surroundings, and yet get to work without exorbitant car fares? The London County Council, from its workmen's homes, seven miles out in the suburbs, gives a ride to the city, with a seat for every passenger, for two cents at the rush hour. One London steam road gives workmen an eleven mile ride for two cents each way. English managers say that American companies throw away large profits by maintaining too high fares. The question of public policy to consider about workmen's fares is not whether more people could be carried or whether they would pay, for foreign experience has settled these points, but whether more riding is necessary and desirable, that is, whether satisfactory living conditions can be provided within walking distance of where people work.

A feature of transit requiring more attention is the matter of car ventilation.[Pg 839] The Pittsburgh company is said to be trying a method of artificial ventilation for its cars. For such densely packed spaces, a constant supply of fresh air is an urgent necessity. A downward movement of warm air, if found practicable, would be the most hygienic and economical. The car transoms should have handles attached to make proper opening and shutting easy. At the present time, there is often too much cold air blowing into the cars, because there is no easy way for the conductor to close the ventilators. The coal stoves should be banished from the interiors.

While there are spitting signs in the cars for the instruction of passengers, some of the employes appear to be the subjects who need most attention. The constant expectoration of motormen through vestibule doors, and the fouling of front steps, are practices that are not conducive to health or happiness.

To reduce the wear and tear on the nerves of the community the noise from car operation ought to be much less. Excessive gong ringing is far too common in Pittsburgh. Ninety-four blows in a minute is a ridiculous frequency. One sound from a good gong is enough to inform a vehicle that it is in the way. Too much pounding simply exasperates a teamster. There should be very little need of gong ringing anyway. A properly trained motorman slows down for pedestrians and obstructions, and does not rely on the gong to get them off the track before he is too near for safety. For the car gearing, the London mixture of sawdust and oil should be tried in the gear cases. The London cars almost startle one with their quietness. They are kept in perfect order, with no loose parts to rattle, no bad rails to pound over. While the Pittsburgh rail joints are often quiet, the tracks at junctions are in a condition most injurious to the cars, and a cause of excessive noise, there being actual gaps in the rail heads over which the cars must jump. Bad track maintenance has allowed much corrugation to creep in, viz., little waves along the heads of the rails, which are both noisy and expensive. The unfortunate supplanting of magnetic brakes by air brakes will increase the flat wheel nuisance. Worn trolley wheels cause unnecessary noise overhead. Rails on curves should be greased.

The Pittsburgh Railways Company, in its latest reports, gives no figures for the cost and number of street car accidents. Such omission invites close scrutiny, and there are many dangerous features about the cars and the operation. One excellent thing in use by the company is the magnetic brake[3], which, however jerky and sudden may be the type in use in Pittsburgh, is in its latest form far safer than air brakes in every respect. Unfortunately, the company is not using this latest type, but is adopting air brakes on new cars. Air brakes are one thing on steam roads, where rails are seldom slippery and where there is usually plenty [Pg 840]of time to stop; but for city streets and Pittsburgh grades, they are an added source of danger. The magnetic brake can now stop a car in one-third of the distance that air can, and cannot skid the wheels up to speeds of thirty-two miles an hour. It is little affected by a greasy rail, and its tremendous reserve power makes it almost impossible for a motorman to have an accident,—the hand attachment providing safety in case of an electrical breakdown. The best test of brakes yet made, which has just been completed in England, has settled these points beyond all question.

[3] A brake with which powerful magnets drag on the track and stop the wheels as well.

LONDON COUNTY COUNCIL CAR WITH SEVENTY-TWO SEATS. THE SAFEST TYPE IN THE WORLD, WITH THE LATEST MAGNETIC BRAKES AND AUTOMATIC WHEEL GUARDS.

LIVERPOOL DOUBLE-DECK CAR, WHICH CANNOT RUN OVER ANYONE. SIXTY-FOUR SEATS WHERE PITTSBURGH WOULD HAVE TWENTY-EIGHT.

With the best magnetic brakes, projecting fenders ought to be unnecessary. Such fenders are prohibited in Europe, as doing more harm than good. A perfect wheel guard seems really the only thing needed, and such has been found by the city of Liverpool, which has had in use for seven years the noted plow guard, which has pushed 415 persons off the track and absolutely saved people from being run over. It should be applied in some form at once on all the Pittsburgh cars. Many Pittsburgh cars have no wheel guard at all.

To take up a few more danger points: Dim headlights, due to insufficient power, are another source of risk. Gong ringing by hand, the practice in Pittsburgh, is an antiquated method especially objectionable with the magnetic brake, where the motorman must both brake and ring with the same hand. There are no power brakes on the trail cars,—a serious omission. Single truck cars are not safe on many of the sharp curves, as between Forbes street and Homestead. When rails are dirty, they should be cleaned, not sanded. The car sanders are of a type that is useless on curves. The carrying of jacks on every car is an excellent thing, which the Pittsburgh company was the first in the country to adopt. But there should also be an emergency lantern, an emergency lamp inside the cars, blocks to hold a car up, a saw, etc., as in Berlin. The storing of cars out-of-doors, as at Highland Park, results in icy steps on winter mornings, and is a shiftless practice. The Pittsburgh rule to descend dangerous grades with wheel brakes on, instead of magnetic brakes, is exactly the most dangerous thing, as has been shown again and again in England. The type of rail in use and the method of laying are very unsatisfactory, and Philadelphia standards are greatly needed. The Pittsburgh rails and their condition are certainly an anomaly in the steel center of the world.

SIGN AT FREE TRANSFER STATION, NUREMBERG, SHOWING WHERE EACH CAR-LINE GOES.

DECORATED STOPPING POST IN NUREMBERG.

NUREMBERG MUNICIPAL CAR, SHOWING ILLUMINATED ROUTE NUMBER USED FOR EACH LINE.

There are other matters about the system besides those affecting health and safety which need improvement. It is very hard for strangers to find their way [Pg 841]
[Pg 842]
around. There are seldom signs on the street to show just where cars stop, whereas in Europe every stopping place has a printed sign. The signs on the cars are often too dim to read, and half the time show only where the car came from, not where it is going to. The routes of the cars are seldom given as they should be. The Berlin sign system with its route numbers instead of confusing colors, and such completeness that no stranger need ask a question to find his way about is urgently needed. Every stopping place in Pittsburgh needs to be called out, as in Boston.

The car lights should be placed over the seats, and the glare of bare filaments avoided. If the company cannot furnish a decent voltage on all the routes, then electricity should be abandoned for lighting cars, in favor of the brighter incandescent gas or acetylene used on steam roads. Windows do not open wide enough for coolness in summer, especially on the newest cars, and they are not always well washed. English cars are cleaned every night from top to bottom, and go out as bright as new every morning. Even the trucks are daily cleaned with oil. Dirty city air or passengers are regarded in England as no excuse for dirty cars.

The immediate transit needs of Pittsburgh, then, are evidently:

First, the running of enough cars throughout the day to furnish sufficient seats at all times and stop the dangerous overcrowding.

Second, the substitution of through routes for loops with universal free transfers and a five cent fare at least within the city limits.

Third, the improvement of equipment and operation, so that there shall be more healthful conditions, more safety, less noise and more convenience.

Fourth, besides these, there should be a thorough study of present conditions, the city's growth and needs, to determine a transit policy for the future.

BERLIN CAR TRACKS, LAID IN GRASSY LAWNS, WITH FLOWER BEDS EACH SIDE. THE COMPANY'S PREFERENCE.

[Pg 843]

Before taking up the rapid transit question, however, let us consider how the improvements necessary to the existing surface system may be obtained. Throughout his administration the present mayor of Pittsburgh has tried to get things done. Vain attempts have been made to get sufficient cars run and to abolish the downtown loops, with their inconvenience to passengers, unjust fares and street congestion. Where new lines have been needed in unserved districts, the company has refused to make extensions except on the unreasonable and impossible condition of perpetual franchises without compensation to the city. Under the different franchises, large sums are due the city for car taxes, rentals and the cost of neglected paving and street cleaning, the total claimed by the city amounting to about a million dollars. The present company, while meeting some obligations the past year, has refused to pay any of these old debts, though admitting its liability for at least a part of them, and the city has brought lawsuits to recover the money. It would have been easy for Mayor Guthrie to have resorted to grandstand plays. But more important than that, he has held the company in statu quo until legal complications have been developed and are now in shape for the city to enforce its rights.

An examination of the original franchises opens up some surprising possibilities for the city. These grants were for different routes and conferred no running powers over other lines. In fact, the franchise of the Pittsburgh, Allegheny and Manchester Passenger Railway Company contains the express provision that the ordinance should not be construed to grant or confer upon any other company the right to traverse the streets. As the different companies consolidated, they neglected to obtain from the city the right to run cars over one another's lines, and to-day the Pittsburgh Railways Company is operating its whole system in a way which has been declared illegal in a recent court decision. In the Erie decision, the Supreme Court of Pennsylvania held that, under the state constitution, no street railway company had a right to run over the tracks of another company without express municipal consent, a city having the power to impose reasonable regulations for the operation of lines under an ordinance.

If the Pittsburgh Railways Company intends to obey the laws of the state, it must either break up its system into the original car lines and operate them separately, or else it must apply to the city for a permit to legalize its present methods of operation. In giving its permission, the city could dictate its own terms, as long as they were reasonable and constitutional; and it would certainly seem reasonable to require sufficient cars and seats, the abolition of the loops, and the universal five-cent fare as in other cities. If the company would not accept a reasonable ordinance, it might threaten to break up the system, and charge the public a separate fare for each line. It would seem doubtful, however, if the courts would permit any such burden on the public, and the company would hardly attempt to abandon the unity of its system pending litigation. If it tried to do so, after any decision favorable to the city, on the ground that it could not afford to meet the city's requirements, then the courts, on injunction proceedings brought by the city, would be in position to probe the street railway finances, determine the real value of the properties and what would be a fair return on the money actually invested. This would bring out the immense net earnings of the system, absorbed in the charges on an inflated capital, and might lead to a complete reorganization of the companies, on a proper capitalization. The city appears to have just the opportunity needed to bring about the improvement of the whole transit situation, and the people of Pittsburgh should see that the desired results are gained and that no false move is made. The rights of company and investor would be looked after by the courts, while the public might not only get the long needed improvements, but also see a surplus income from their fares available for a real rapid transit system. Such an outcome would put the Pittsburgh surface system on a sound basis, and the company might be the gainer in the end.

The city has a further hold on the situation, in the fact that some of the most important franchises can be revoked for non-fulfillment of conditions. Five, at least, of the ordinances provide that any failure to comply with any of the terms may, at the option of the city councils, be held to work a revocation of the privileges granted. The failure to pay the agreed car taxes, percentage of receipts, or rentals, and to pave and clean the streets properly makes it possible for the city to declare forfeited these franchises so vital to the company. The latter would then have to apply for new privileges[Pg 844] and the city could dictate the terms.

Further, apart, from this possible right of forfeiture, the city is secure in its right to purchase some of these railways which have been in existence twenty years or more. By exercising this option, the city would not be committed to municipal operation any more than Boston or New York, where upwards of fifty million dollars have been invested by those cities in rapid transit lines. Pittsburgh would simply own the tracks and could lease them to the present company or another company, too, if competition were desirable, and make terms which would forever prevent neglect of the public interests. The cost of purchase should not be great, as it would be fixed by appraisers appointed by the courts. The physical property would not be very valuable after the franchises had been revoked, for the tracks are all in bad condition. After purchase, the city could maintain the tracks itself, laying modern rails, and keeping the pavement repaired and clean, the rentals paying the expense.

It seems to be the consensus of opinion of eminent legal authorities that all grants of franchises for public utilities are made upon the implied condition that the corporation receiving them will properly perform its obligations by furnishing reasonable accommodations to the public; and that when a corporation has committed its property to a public use, the public has a right to require proper performance of such duties under penalty of forfeiture of the franchise.

What has been said as to the city's expressly reserved powers on certain grants may be illustrated by a summary of two franchises.

The consent of the city for the construction, maintenance and operation of the lines of the Citizens' Passenger Railway Company was given upon the following conditions, among other things:

First, to pay into the city treasury "for each car run over its road," twenty dollars per annum, for the first five years; thirty dollars per annum for the second five years and forty dollars per annum for each year thereafter.

Second, to pay into the city treasury annually three per cent of the net profits of said company for the first five years, and five per cent of the net profits of said company for each year thereafter.

Third, to keep the streets over which the road passed in good repair from curb to curb.

The ordinance further provided:

First, that "any failure to comply with" these conditions should be held to work a revocation of the franchise.

Second, that the city should have the right at the end of twenty years, by giving the company one year's notice of its intention, to acquire the road and stock by paying for the same at a rate to be fixed by five disinterested appraisers.

This term has elapsed.

The franchise of the Pittsburgh, Oakland and East Liberty Railway Company was conferred upon the following conditions, among others:

First, the payment of an annual sum upon each car run on the road.

Second, the payment of an annual sum of $200 for each year during the first five years, and $400 annually thereafter, in lieu of a percentage of profits.

Third, that the company shall keep clean and in good repair from curb to curb that portion of the streets on which the road was constructed.

The ordinance further provided:

First, any failure to comply with any of its terms might, at the option of the city councils, be held to work the revocation of the privileges herein granted; and Second, that at any time after the end of twenty years, the city shall have the right by giving one year's notice, to purchase the road at a price to be fixed by five disinterested appraisers, to be appointed by the president judge of the Quarter Sessions Court of Allegheny county.

This term has elapsed.

In considering the transit needs of the future, the first question to ask is, perhaps, does Pittsburgh really need more rapid transit? For the immediate present, if the railway company were to bring the surface system up to modern standards as suggested, it would seem as though the existing lines might be satisfactory for some time to come. A number of other large American cities are getting along without fast service, such as St. Louis, Baltimore, Cleveland, Buffalo, San Francisco, etc. A radial city, with all its disadvantages, does allow a short journey home, compared with a[Pg 845] badly developed longitudinal city, like New York. And a considerable length of time can be spent daily in travelling without harm, if conditions are agreeable, as on many suburban lines.

At the same time, the growth of Pittsburgh needs to be directed according to the best public requirements, and not left to the traction company and real estate owners to work out as they see fit. Some of the broad questions that need to be considered will be discussed later,—such as the relative location of houses to business and manufacturing; the extent to which walking should be provided for; the directions in which Pittsburgh should grow. Of the more specifically transit questions, the chief ones to settle are the routes of rapid transit lines; the type of construction; and the best way to get lines built and operated.

The suggestion has been made in two quarters that a highly desirable change in the business district would be effected if the streets could be built up to a higher level, leaving the present streets either for pipes and wires, or for heavy and slow moving traffic. Such an improvement would be of great benefit in case of the highest floods; but from a rapid transit standpoint, it would give little, if any, relief, because cars and vehicles would still be on the same level. If two traffic levels were maintained, there might have to be numerous inclines, which would be awkward with such narrow streets. Still, Pittsburgh may some time have to consider the problem of cross traffic at street junctions, and how best to abolish grade crossings of vehicles. Chicago is trying freight tunnels; New York is considering them; London has planned bridges at congested points, the cost of a single one of which has been figured as high as $3,500,000. Pittsburgh is fortunate in having so many railroad lines along the water fronts, which must reduce the trucking through the streets.

The writer has previously advocated the running of more surface cars in the business district. Not that more cars are desirable on the streets; they are simply a necessity, until at least a rapid transit line can be built, or double-deck cars be brought into use, with their great reduction in number. The ultimately desirable thing is to remove all cars from city streets which have become too congested for safety or speed. The best example of such removal is of course in Boston, with Tremont and Boylston streets. London not long since opened a subway for surface cars under Kingsway, the new avenue across the city from north to south, with no tracks on the street above.

While as yet Pittsburgh hardly needs for rapid transit purposes the removal of all surface cars downtown, still it would obviously be a great advantage in reducing accidents and giving vehicles more room. To thus relieve the streets has been one of the stated aims of the Pittsburgh Subway Company.

The plans of this company appear to provide for a subway system for surface cars, consisting of a downtown terminal loop a mile in circumference, under Oliver avenue, Liberty street, Ferry street, Third avenue, and Grant street; a main tunnel to the east, passing in a straight line under Herron Hill to Junction Hollow; and two branch tunnels extending south from the main line to Brady street and Boquet street. The company has charters for several surface lines in the East End, to feed the subway and its branches. The main subway, sooner or later, would be continued east under Center avenue and Frankstown avenue to a portal at Fifth avenue. A branch tunnel is also provided from the downtown loop, north under the Allegheny River to the Allegheny Station of the Pennsylvania lines. The subway would be built by private capital; it would pay the city a percentage of its gross receipts, and be open to the cars of other companies on reasonable terms. There would be four stations in the business district, but none beyond, except one at East Liberty. The westbound cars would thus make no stops after leaving the surface, till they arrived downtown; and the longest run of five miles would be covered in ten minutes, at an average speed of thirty miles an hour. The object of the Pittsburgh Subway Company is obviously to force the Pittsburgh Railways Company to use the tunnels, under the[Pg 846] fear of seeing a rival surface system grow up, with faster service, and superior downtown facilities. Another aim is to divert traffic from the Pennsylvania Railroad, which does a large suburban business along its main line. The whole scheme as outlined is very attractive in many ways, and deserves careful consideration.

Perhaps the best way to test the value of the subway scheme is to take up every possible objection to it. One prominent feature of the project is the treatment of the business district as a thing which cannot be extended because of the hills to the east. So the cars would run from the downtown loop to East Liberty without a stop. There has been much discussion in Pittsburgh of spreading out the congested business district; and the fact that business has reached the court house, would suggest that the "Hump" is not the insurmountable bar to growth that it has been supposed. It has been suggested that heavy property owners and large stores are likely to oppose strongly any improvement which would lessen their growing returns. On the other hand, it is conceivable that equally powerful interests may throw their influence in an opposite direction and a rapid transit line would afford exceptional opportunities for real estate investment and branch stores. Fifth avenue or Penn avenue, or both, would seem to be the proper places for such lines to the east. While a business zone along these streets would be narrow because of the hills, the speed of cars would make up for greater distances; and many people might live on the hills between these streets and walk to their work in this zone. A subway along a street might cost somewhat more than a tunnel; but Pittsburgh can afford to have the thing well done.

PROPOSED SUBWAY.

[Pg 847]

Another feature of the subway system which seems to need consideration is the proposal to run surface cars in it. Obviously, if all the Pittsburgh Railway cars could be put underground in the business district, it would be a great advantage, as far as the street surface is concerned. But of course this would not make it any easier to get on the cars, because the loading would be restricted to four stations, instead of being at every street corner. Again, there would be about sixty car routes to be provided for, and 490 cars an hour, without allowing for any increase of cars to furnish more seats. The routes and cars would have to be divided between two tracks, so that half the cars and routes would be on each track, viz., thirty routes and 245 cars an hour. This traffic would obviously fill the subway at the outset, without any room for growth, unless double-deck cars were used. Again, it is against the new lesson of rapid transit, learned at great cost in New York and Berlin, that a rapid transit line should have no junctions and but one destination each way.

The speed proposed for the cars from the East End is very high; for the running time of ten minutes from Kelley street to downtown would require an average speed of thirty miles an hour, including the stop at East Liberty and slowdowns for two junctions. To run at such a speed would require block signals and automatic safety stops, and would limit the number of cars to about sixty an hour. To use the subway to its full capacity, either trains must be run, or else the surface cars must be limited to the low speeds found in the Mt. Washington tunnel and the Boston subway.

In a paper before the Engineers' Society of Western Pennsylvania, the engineer of the subway company spoke of running trains and not surface cars in the subway, suggesting that in time all the steam railroad passengers from the east should be transferred to the subway at East Liberty; all the passengers from the west alighting in Allegheny and at McKees Rocks, taking a subway built from the business district through Allegheny and under the Ohio River at McKees Rocks. The loop in the business district would have two tracks, with all trains running in the same direction around the circle. This development of the subway, however, evidently belongs to the future, and the running of surface cars would appear more within the bounds of possibility.

One of the most serious questions about the subway proposition is whether it would pay. The promoters answer that they are willing to take all the risk. But if Pittsburgh really needs rapid transit, can the city afford to have it depend on any $10,000,000 or $15,000,000 experiment, and wait several years to know the results? A subway, to clear expenses, has been found to require from fifteen to twenty per cent annual income on the cost. The cost of subways in this country has ranged from $1,500,000 to $3,500,000 a mile. The New York subway cost about $3,000,000 a mile equipped. To make a subway pay as far as East Liberty, would require a minimum traffic in the heaviest rush hour one way of ten thousand passengers. It might take twice or three times this number, according to the cost and the volume of slack hour traffic.

It seems a very grave question if a radiating city like Pittsburgh can support such a subway as proposed, to say nothing of a system serving adequately all parts of the city. Subways have usually turned out to be very poor investments, as many companies have learned to their cost, in London, Liverpool, Glasgow, Berlin. The New York subway pays only for about half its length, a considerable part of the dividends coming out of the surplus obtained from the elevated roads. Boston can afford subways, because they are mere short links in an extensive system.

Subways have other disadvantages which must be carefully considered. They might have been flooded downtown in March, 1907. On account of the cost they can only serve a very limited territory. They are extremely noisy. In New York, they are almost unendurably hot in summer, and the air is filled with iron dust. They take long to build. They are dangerous in case of fire, eighty-seven lives being lost in the Paris disaster. If deep, as in London, many people do not like to use them, even with elevators. The London underground roads are facing a very serious proposition, several already being in a receiver's hands. If shallow, they occupy or cramp the space needed for pipes, wires, and sewers, greatly disturbing the proper arrangement of underground necessities.[Pg 848] They put passengers below ground in a place where the sun never shines, leaving to heavy traffic the light and air of the streets. Their signal advantage, on the other hand, is that they remove the traffic altogether from the street, and do not shut out light and air from the street surface.[4]

[4] Since this report was drafted, two subway ordinances have been put before Pittsburgh councils:—

a. One for the Pittsburgh Subway Company for a franchise over the route already indicated, asking for a fifty year franchise without compensation to the city for the first ten years, and with payments of one, two, three and four per cent per year, respectively, on gross receipts during the decades following. The same parties who hold this charter, are now applying for a charter for the Pittsburgh Underground Railway Company. The two routes are identical. This charter is pending before the Rapid Transit Board of the commonwealth.

b. The other ordinance before councils provides for the construction of a municipal four-track subway for surface cars from Seventh avenue and Grant boulevard east to Center avenue and Craig street, to be built by the City Subway Company, a corporation of three trustees chosen by the city of Pittsburgh. The city will pay the interest on bonds issued by the company, and the latter will turn over to the city such rentals as it can collect from the use of the subway, endeavoring to reimburse the city in the end for all money expended. It is stated in the proposed ordinance that this subway would be the beginning of a transit system, but who would operate the system is not specified.

Ordinary elevated roads are certainly not desirable in the business part of Pittsburgh, because the streets are narrow, the buildings high; and there is still at times much smoke. There is already quite an amount of elevated freight structure, black and without ornament. It is perfectly true that an elevated road can be made practically noiseless, as notably in Paris and Berlin; and there has been no damage to property in these cities. The Berlin structure is painted white and is an ornament to the city; but the streets are much wider there than in Pittsburgh.

The prospects for satisfactory rapid transit in Pittsburgh do not appear very good, unless perhaps some form of suspended railway should meet with approval. A German type which has had eight years of practical operation at Barmen and Elberfeld, is now under consideration for Berlin. Whether it would suit Pittsburgh is a question; but it has some very interesting advantages. It would cost only about a fifth of a subway's price; so that the same expenditure of money could serve five times the area,—a vital point with a radiating city.

The cars could cross existing bridges, probably, without interfering with surface traffic. Studies of routes, structure, and costs make the suspended appear a type of railway which could thoroughly compete with the Pittsburgh Railways Company; and if competition is necessary, it must be of no uncertain kind. Its cars could reach the heights about the city, without excessive grades, and open up new territory as a subway system could never afford to. If operated in co-operation with the existing company, it would allow a large reduction of surface cars in the business district as soon as opened, and the removal of all tracks when desired. On the eight mile line in Germany, not a single passenger has been injured in eight years of operation. The suspended line, moreover, does not shut in the streets, as does the ordinary two track elevated structure. With double-deck cars as feeders, it seems to offer the cheapest, most convenient, and safest means of rapid transit.

It would seem wise, if any rapid transit line is to be built in Pittsburgh, for the city to construct and control it, as in New York, Boston, and Paris. The city would merely have to borrow the money, and could retain control of the road in a way to get adequate service. It might be desirable to put the operation into the hands of trustees, who would run the road at a minimum cost and with only a safe margin of profit, giving the public either the largest extension of rapid transit lines possible at a five cent fare, or else serving a smaller territory with a lower fare. The Brooklyn Bridge railway was operated by public trustees most successfully for a number of years, with a two and one-half cent fare.

What part the steam railroads will play in the future development of Pittsburgh depends on their own efforts. Their suburban passengers would probably find a rapid transit system more convenient, because they could reach any part of the city quickly for five cents. A terminal for such passengers, more central than the Union Station, is one of the probabilities and would afford an artery of no mean significance, but still without the other advantages of a rapid transit[Pg 849] line. The interurban business and that along the rivers could probably be best done by the steam roads, especially if they would run a frequent and cheap service of electric cars, as is done elsewhere. The electrification of all the steam lines about the city would be a great blessing, and the city should urge and encourage the matter in every way. Till this is accomplished, much nuisance could be avoided by a shortening of the maximum length of freight trains, which could greatly reduce the noise and smoke, and, judging from the latest experience, might be more economical to the roads in the end. The whole steam railroad situation in Pittsburgh, both freight and passenger, and the disposition of freight yards need further study, and especially in comparison with Berlin where the main line has a five minute service at the slack hours, suburban branches a twenty minute service, and where the whole system is to be soon electrified at a cost of perhaps thirty-five million dollars.

Any plans for the future transit of Pittsburgh should take into consideration, not only the present conditions and arrangement of the city, but also where the growth ought to be, where the healthiest sites for houses are, and other broad questions. Transit, city planning, and housing, are all closely related; and it may be well in concluding to try to get a wider view of things.

Transit systems have grown up in modern cities because of the needs and desires of people for moving about more than they did a century ago. In the old days, when towns were small and the uses to which districts were put were not specialized as now, people could walk to their work, or else had space to keep a horse or two. As cities increased in size and compactness, the keeping of horses had to diminish, and distances grew, as well as the desires of people to go about more. Public conveyances consequently came more and more into use; while the constantly improving facilities, notably electricity, increased the tendency to ride.

It would appear that the rate of a city's growth in people depends on the amount of intercommunication, just as the intensity of some chemical processes depends on the extent to which the different elements come together. So transit is now regarded as a necessity, and one which cities are beginning to feel, whatever the basis of ownership and operation, is too vital to be exploited solely for the gain there is in it.

Passenger transportation obviously has to meet the following needs:—First, carrying people to and from work; second, carrying people about their business during working hours, including shopping; third, carrying people about on social, educational, and recreative objects. The best transit system for meeting these needs is obviously that which conquers space and time most equally for all inhabitants at the lowest cost in money, convenience, safety and health. Of course people should not do unnecessary traveling,—walking, writing, and telephoning being desirable substitutes.

In American cities the economy of walking has been too much lost sight of, chiefly in the matter of getting to and from work. The largest demand on transit systems to-day is to carry people to work and back; and yet, curiously, this ought perhaps to be the least important kind of travel. For centuries, until a very recent time, everybody walked to business, and the poorest classes as well as some of the wealthy do still. The reason why so many have to live at a distance from their work is not the mere growth of cities, but our universal disregard of scientific town planning as practiced notably in Germany. We usually crowd most of our business into one center, and then have to ride a long way to get enough room for a single house. But congestion on transit lines is just awakening us to the fact that the common radial plan for a city is neither wholly necessary nor desirable.

It would look now as though the ideal city is a longitudinal one, with factories on the leeward side, after the European plan as found in Vienna and the new city of Letchworth, England; houses on the windward side away from the smoke; and stores and offices between. The whole city is narrow enough to enable people to walk across town to[Pg 850] and from work, their homes being opposite their place of work or business. One or more high speed longitudinal transit lines would make the length of the city no greater bar to travel than getting about our congested business districts which are so often without even adequate surface transit. The ideal of universal walking to work, were it possible, would obviously abolish the rush hour travel, the cause of so many of the worst features of American city transit.

With existing, radial growing cities, it would seem best to try to replan on the longitudinal system as far as possible, modifying the ideal to fit topography and other present conditions. A rapid transit line is the best thing with which to begin the stretching out process in a city where no such facility already exists. By rigidly limiting the heights of buildings to the standards so successful in Europe, and then in some way preserving belts of houses alongside the business district as it begins to stretch, congestion may at least be checked. Of course it is impossible at this late day to provide many single houses within walking distance of a business district, though Boston has notably done so for both rich and poor with its Back Bay, Beacon Hill, and the West and North Ends.

But the conditions of Pittsburgh allow no simple alteration to fit the ideal plan. No single transit line can serve both sides of the Ohio, or the four shores of the Allegheny and Monongahela Rivers. Again, the question should be considered very carefully whether people ought to live too near the manufactories, on account of the smoke and the noise; and therefore whether the walking principle ought not to be waived in such a manufacturing region, and all the workers be transported up on the bluffs or beyond, where the air is purer, where more land is available for single houses, and where they can have quiet, healthy homes, making more efficient workers. If the smoke were not still so abundant, the fast transit lines should best lie along the rivers, with a belt of houses on the heights above. But as conditions are, the most desirable locations for houses are away to the east, north, and south of the business district, and so perhaps these are the regions which should first be made more accessible to the heart of the city.

The location of rapid transit lines in Pittsburgh obviously needs most careful study. It does not seem enough to connect East Liberty with the business district by a straight line, without serving the intervening territory. The situation needs the broadest study and outlook and the united judgment of the best minds in the city. A transit solution cannot be left to any interested company, but needs to be reached by considering the welfare of all the inhabitants, future as well as present.


THE ALDERMEN AND THEIR COURTS

H. V. BLAXTER ALLEN H. KERR, Collaborator MEMBERS OF THE ALLEGHENY COUNTY BAR

[Pg 851]

To fifty-nine aldermen is taken practically all the minor litigation of the four to five hundred thousand persons in Pittsburgh. To them the law entrusts all the preliminary matters connected with criminal prosecutions. To the educated public these courts are little known, perhaps because the amounts involved in litigation are small,—never over $300,—or because the proceedings are criminal in nature. But to the majority of Pittsburgh's vast army of foreign born, the squire's office is the only contact with law or justice. It is here that the wage earner, the alien, the Slav or the Lithuanian, comes first in criminal matters; it is here that the ignorant and illiterate enter their civil suits. This is the court of the people, such as it is.

Viewed thus, the aldermanic system is lifted from insignificance to rank as a vital question of municipal government. An ancient English system supplied the model, which aimed to decide small cases quickly and with substantial justice. But, as the system works out in Pittsburgh to-day, it for the most part achieves no such end and is a reproach to the community. For Pittsburgh has been a city too busy for introspection. A crowded center echoing with the thunder of steel mills, vast industries giving employment to alien laborers, the insistent cry of "tonnage" and the absorbing demands of business, have offered little opportunity for social study or civic experiment. It is not that Pittsburgh is derelict; her charities are many and generously supported, but Pittsburgh is busy, very busy, and the public have not taken time to think. Nowhere is this ignorance of home conditions more apparent than in the matter of the courts, and especially of the aldermanic courts which are to be considered here.

Before aldermen, informations or the formal charges of crime are made. Warrants for arrest issue from their offices. Hearings are held, the defendant is committed to jail, or bail is allowed. Summary convictions may be had before them, so that not only property but personal liberty is subject to their decisions. What this means can readily be understood when it is known that in 1908, 15,879 persons were incarcerated in Allegheny county.

To begin with, the whole aldermanic system is an anomaly in the growth of institutions. It is taken from the middle ages, only partly altered, cut, and fitted to modern conditions and a freer people. The origin of the office is obscured in antiquity. In Gothic times they had conservators of the peace, whose duty was, as the name implies, that of keeping the public peace; and during the troublous times when Queen Isabel deposed her husband and put Edward the Third on the throne, the King, fearing a general uprising, sent out writs of peace to all the sheriffs, and Parliament ordained that good men and true be assigned to keep the peace. At the foundation of the Colony of Pennsylvania, the office of justice of the peace was brought over from England, and became an integral part of our governmental institutions. Under successive state constitutions the power of the aldermen and justices of the peace has been gradually enlarged, and their jurisdiction greatly widened. Aldermen are elected for a term of five years. Formerly their jurisdiction was limited to amounts under forty shillings, but gradually it has been increased to $300. In cases where the amount involved is less than $5.33, the equivalent of the old forty shillings, there is no appeal from an alderman's decision. Litigants for so small an amount are in most instances very poor, and a hardship is wrought when such cases are wrongly decided. Another very radical disadvantage of this provision is that it permits the use of such tribunals for purposes of spite and oppression. A landlord recently refused to relet a tenement.[Pg 852] An altercation followed which ended in the tenant's saying that he would get even at the squire's office. Thereupon he entered suit for five dollars for an imaginary debt. At the hearing this debt was denied by the landlord. No proof was offered that it existed; nevertheless the justice promptly awarded a judgment for five dollars, and, the amount being less than the old forty shillings, the landlord had no choice but to pay.

The very topography of Pittsburgh has influenced the growth of aldermanic litigation. The business district is crowded into a small triangle, hemmed in by two rivers. In consequence the aldermen in the four wards comprising the business section get a tremendous clientele. Furthermore the city has been redistricted and in the future there will be but twenty-seven aldermen, one for each of the new wards, instead of fifty-nine as heretofore. When it is known that some of the downtown aldermen make $12,000 a year from fees, under the present ward arrangement, an idea can be gathered of what will be the income of the aldermanship under the new districting which throws the heart of the business area, approximately the first four former wards, into one new ward. Of course ward lines are important only in the election of aldermen, for once elected their jurisdiction properly exercised extends over the whole county. A case may be put in the hands of any alderman whom the plaintiff may desire.

In appearance the average alderman's office is not prepossessing. A counter flanked by a railing, a few chairs, a safe and a number of dockets, compose the usual furniture. The floor is nearly always bare, generally dirty, while outside the appearance of the office is much that of any shop desiring customers. Often an electric sign or gaudy lettering on the building, or other similar device is employed to make the location of the office conspicuous. With few exceptions, the offices are on the lower floors, usually opening like a store directly on the sidewalk. Where the ward boundaries permit, they are put on the main thoroughfares, sometimes so close together as to be within sight of one another, which naturally results in the sharpest kind of competition. The more progressive aldermen indulge in advertising and it is a common sight to see blotters emblazoned with the name or the alderman, his address and telephone numbers, distributed among the downtown offices. Yet these are state judicial offices presiding over subordinate courts!

Each alderman has a constable who is elected at the same time and in such ways as makes the office largely political in complexion. In many offices the alderman and the constable do all the work. But in the downtown offices there are usually in addition to the alderman, a docket clerk, a writ clerk, and perhaps two deputies. The constable is not only the major domo, but usually the business getter of the outfit. It is he who mingles with the people of the ward and steers litigation in the direction of his employer. All this is to his benefit, because, like the alderman, his income is derived from fees. Such constables have often made as much as twenty dollars a day in the sections of the city settled by foreigners, but this is not the rule now, partly because the aliens are less ignorant and partly because of the influence of many national, fraternal and charitable organizations. However a conservative estimate of the income of the downtown constables at the present day would be $3,000.

The business of an alderman is to get customers, try cases, prepare informations, execute commitments and various other legal documents.

In civil cases, it follows from the very organization and jurisdiction of aldermanic courts, and the fact that the litigant may choose his tribunal, that the aldermen are often called upon for legal advice and opinions even in advance of the actual litigation. Each alderman knows that if he advises the complainant that he has no case another alderman will be consulted. If the latter advises suit the costs will go to him. As an alderman depends for his living on fees from litigation instituted in his court, it is not hard to find one who will tell you that you have a good case.

Not long ago a landlady and two boarders,—a man and his wife,—became[Pg 853] involved in a teapot tempest, during the course of which the landlady pointed a revolver at her boarders. A squire was consulted, who advised an information for surety of the peace. The proceeding under an act of assembly for pointing firearms would perhaps have been proper, but there was clearly no case of surety of the peace. The case came up for hearing and after a long dissertation couched in legal verbiage the squire pronounced his judgment that the case be discharged and the costs divided. The plaintiff, who was represented by an attorney, immediately refused to pay and asked the squire what he was going to do about it (by act of assembly execution cannot issue for costs alone). The squire was nonplussed, and called in his constable. After a whispered consultation, he announced that he had reconsidered and that his final judgment was that the case be discharged and the costs put on the defendant. By this time the defendant had got her cue. She refused to pay, and asked the squire what he was going to do about it. Another whispered consultation followed while the squire scratched his head in perplexity. Another reconsidered judgment was given, this time that the case be discharged and the costs put on the county.

Not only do the aldermen give advice concerning prospective cases, but they solicit business and it is very common for them to hold themselves out as collecting agencies. Some aldermen who make a specialty of such work have a printed form reading:

Claim against you for $________ has been put in my hands for collection. Pay at once and save yourself costs.

If the claim is paid without suit a percentage charge is made for the service; if the defendant ignores the notice the alderman will enter suit. In short, we have here the anomaly of a state judicial officer whose living depends on the business he can drum up, and who can be both counsel, judge and prosecutor. From this it results that when a case is brought in an alderman's court, the alderman, the judge, considers himself in the employ of the plaintiff.

At a recent hearing before an alderman, who is without exception one of the most upright and efficient in the city, the evidence of the plaintiff was very uncertain while that of the defendant was clear and convincing. The squire "reserved judgment," which means that he did not wish to give his decision in the presence of both parties. The case had been conducted by an attorney who controlled considerable aldermanic business, and this attorney not long after reaching his office was called to the telephone by the alderman who said in substance:

"Now look here Mr.——, if you think you ought to get that money in that case of yours I will pay it myself, but I really cannot find for the plaintiff because I honestly think the defendant has a good defense." Only an incident, but what a flood of light it throws on the attitude of the alderman toward the plaintiff.

Few cases are decided otherwise than in favor of the plaintiff. Exactly what proportion can never be known, because our courts have decided that the dockets of aldermen are private records and not open to inspection by the public. One judge on the Common Pleas Bench, a man who has wide experience in such matters, when asked if he thought that as much as one per cent of the cases are decided other than in favor of the plaintiff, replied, "No, not nearly." As a matter of fact judgment is so universally given for the plaintiff that a defendant who has had any previous experience, does not take the trouble to appear at the hearing, but if he desires to contest the matter, takes an appeal from the alderman's decision.

It is a wise requirement of law that a plaintiff must make out his case affirmatively, proving all the matters essential to constitute liability on the part of the defendant. It is a matter of common knowledge, however, that aldermen give judgment on evidence of the most meager kind. A copy of a bill, its correctness unsworn to, left with the alderman is a common way of obtaining judgment for goods sold and delivered. Suits may be entered before more than one alderman, and in such cases although but one execution may issue, a defendant can be[Pg 854] harried by threats and a multiplicity of summonses. In such cases, aldermen and their constables although legally without power, may when in league with unscrupulous creditors, be the cause of the greatest injustice. Cases have been known where constables, although knowing that a levy could not be made, would, nevertheless, frequently visit the house of the defendant, post notices of sale, demand admittance in the middle of the night, and in many other petty ways harass the defendant in the hope of forcing the payment of their costs. It is well known that much hardship is done in Pittsburgh through the instrumentality of what are known as "loan sharks," who lend small amounts at usurious rates of interest, taking as security assignments of future wages, bills of sale of household furniture, and other personal belongings. The defendants in such cases, although they are protected by law, are usually poor and ignorant, have little knowledge of legal procedure and fall an easy prey to the threats of such unscrupulous creditors. It can readily be understood how much such usurers are assisted by unscrupulous aldermen and constables.

Primary in importance to the alderman is the problem of getting his costs. Not long ago a well-to-do man residing in the residential section bought some cider from a huckster and ordered some apples. The cider was left in the barrel and the apples were to be brought the following day. When they came they were refused because of their poor quality. The huckster in a rage demanded the barrel in which he had left the cider, although both the apples and the cider had been paid for. He was told he could have it in a day or two, as soon as it could be emptied. He left to seek the advice of a squire who advised him to make an information for larceny by bailee (the technical term meaning larceny of goods temporarily in one's possession). He did so and a warrant was issued for the defendant's arrest. He was arrested and appeared at the alderman's office with bondsmen. Bail was refused by the alderman on one pretext and another and the defendant was told that if he would pay the costs the alderman would see to it that the whole matter was dropped. Before the hearing the squire had gone to the defendant's business office and told him that if he would pay the costs the matter could be fixed. Needless to say, rather than spend a night in jail while new bail was being secured, the victim paid the costs, preferring to be mulcted a few dollars than to incur the notoriety and annoyance of carrying the matter to a higher court.

Under such manipulation it is not difficult to see how large a volume of litigation may be instituted in the aldermanic courts. Of course this case is exceptional and there are many aldermen who never seek business or advise frivolous litigation, but even without it the volume of business is incredibly large. Some of the downtown aldermen have had as many as 500 civil cases brought in their courts in a month. Of course if there is any real controversy involved the case is appealed, but in practically all the cases the costs are paid either on appeal or by execution, the law making costs a first lien on the fund realized. A compilation of the costs paid in three hundred cases shows the average costs in each case to be $3.74. Formerly these costs had to be paid before the appeal could be taken, but by a late act an appeal can be taken without payment of the costs, if satisfactory bail be given for debt, interest and costs. However, the act works little benefit, because the alderman is the judge of the sufficiency of the bail and has it in his power to reject bondsmen until it is quicker and easier to pay the costs than bother over the allowance of bail. So that, as a matter of fact, the costs are always paid on appeal. Taking the downtown aldermen's offices where the cases sometimes number 500 in a month, the income from fees would be about $1,800 a month, which after allowance for fixed charges would leave a monthly profit to these downtown aldermen of about $1,000 in civil suits alone.[5]

[5] The costs reckoned above are without execution, which when issued would swell the costs by a couple of dollars, making an average of probably six dollars.

To these fees, to form some estimate of [Pg 855]the income derived from some alderman-ships, should be added the costs paid in criminal cases which an average of one hundred cases taken at random from the criminal docket of a prominent downtown alderman show to be $4.15 in each case. In criminal cases, if the defendant is discharged the alderman's costs are paid by the county. This procedure further adds to the revenue of the office. In 1907 the county paid to the various aldermen and justices of the peace the sum of $17,884.40 for costs in such discharged criminal cases, and to sundry officers in such cases $8,840.05, or a total of $26,724.45. To one alderman alone, having an office in a downtown section largely settled by Negroes and the poorer classes, $1,711.55 was paid in 1907 by the county as costs in such discharged criminal cases brought in his office. For miscellaneous work, criminal and otherwise, fees are paid in accordance with a schedule set by a recent act of assembly, that of 1893. Some of the main items are given below.

Aldermen's Fees.
For information or complaint on behalf of the commonwealth $.50
Docket entry on behalf of the commonwealth .25
Warrant .50
Hearing in criminal cases .50
Taking bail in criminal cases .50
Entering judgment .50
Discharge of jailer .35
Hearing parties .50
Holding inquisition under landlord and tenant act 2.00
Entering action in civil case .25
Summons .25
Entering satisfaction .15
Written notice in any case .25
Execution .30
Transcript of judgment .05
Return of proceedings on certiorari 1.00
Receiving the amount of judgment:
        If not over $10 .25
        $10 to $40 .50
        $40 to $60 .75
        $60 to $100 1.00
Assignment and making record indenture .50
Marrying each couple and certificates 5.00
Constables Fees.
Executing warrant $1.00
Conveying defendants to jail 1.00
For executing bail piece 1.00
Executing search warrants 1.00
For serving subpoena .50
For arresting on a capias 1.00
For notifying plaintiff where defendant has been arrested .25
For advertising sale of goods 1.00
For holding appraisement where exemption is claimed 4.00
For attending election 3.00
For travelling expenses in the performance of any duty required by law, for each mile travelled .06

It is evident that the office is lucrative, and lucrative just in proportion to the ability of the alderman to get customers. The anomaly extends to every branch of the office,—a state judicial officer with an income depending on the volume of the litigation instituted in his office.

It was a wise provision of the Legislature that permitted appeals by right, rather than by allowance, providing the amount involved is over $5.33. Practically all cases therefore involving any real controversy are appealed. A defendant is given twenty days in which to take his appeal. The procedure is simple, a transcript or copy of the alderman's record is obtained, the costs paid or bail given for debt, interest and costs, and the transcript then filed in the higher court where the case is begun over again just as if it had not been already tried. As the discretion of the alderman in allowance of bail is a factor, the costs are generally paid at the time the appeal is taken. In any case, they must be paid then or when the appeal is disposed of. If they are not paid at the time the appeal is taken, when the case is disposed of in the higher court, the alderman's costs are kept out of the amount realized and may be demanded by the alderman, his transcript being the evidence from which the higher court determines what disposition has been made of the costs. Cases have come to the writer's attention where although the costs were paid at the time of taking the appeal yet the alderman's transcript has been endorsed, "Costs not paid by defendant." If such a transcript were filed without the detection of the error, upon final disposition of the case the alderman would be in a position to demand his costs a second time from the prothonotary of the higher court and receive double pay.

Remembering that every case appealed from an alderman is retried, with costs to be paid over again, it is interesting to consider how much time is occupied by the Common Pleas Courts in such review work. In Allegheny there are four Common Pleas Courts. As the courts are separate and independent, litigation may be commenced in any one of them. So great has been the litigation in recent years that all these courts are far behind[Pg 856] in their work, two being at least four years behind, the others at least two. Taking at random a term,—three months' business,—in one of the courts which is four years behind, we find 1,342 docket entries. It would be safe to say that about 1,000 entries would represent new suits, which should in due course result in jury trials. Of these 322 were cases appealed from aldermen, i. e. work already done and paid for, to be done over again. In these cases counting the costs actually paid we have a total of $1,322.08, and this in one term of one court. There are four terms to each court and four courts. The time occupied in retrying appeals from aldermen can be appreciated. In 1897 it was estimated that one-fourth of the work of the Common Pleas Courts consisted of the re-trial of such appeals with an aggregate of about $12,000 paid for costs in such cases prior to their determination in the Common Pleas Courts. From the figures previously given it appears that the proportion is about the same now although the increase in the volume of litigation has swelled the costs to about $15,000.

Taking four consecutive terms, one at each court, we find 667 alderman's appeals in the two courts which are four years behind, and 105 alderman's appeals in the two courts which are two years behind. By law an affidavit is required with each appeal that it is not taken for delay, but the above figures indicate that this oath is disregarded. So much for civil matters, where only money and time are involved. It is the criminal side of the alderman's court where liberty is involved, that arouses greatest sympathy. Summary convictions, or proceedings under special statutes where the aldermen can impose a fine and commit to jail on default, and proceedings for the determination of the existence of the essentials of a crime, comprise the criminal jurisdiction of an alderman just as it stood in the reign of Edward III in the fourteenth century.

Criminal proceedings generally are instituted by a warrant of arrest issuing upon a complaint under oath,—an information. From this information made before the alderman a warrant issues on which the accused is taken into custody. A hearing must then promptly be held; and the alderman decides whether there is sufficient evidence to hold the defendant for court; if so the prisoner is held for bail if the offense is bailable, or committed to jail in default. The alderman must then within five days return a transcript of this proceeding to a clerk of the Court of Quarter Sessions, this court being the criminal court of the county. Considerable hardship may be done by the failure of the alderman to return his record within the five days required by law; cases have been known where through neglect prisoners have been kept in jail a month before the matter has been brought to the attention of the district attorney's office and the alderman made to produce his papers. It will thus be seen that although the alderman acts in this respect only as a committing magistrate, yet on his decision rests whether the prisoner be committed to jail; for although the offense may be bailable the question of bail in the case of poor people is very material. The writer has known cases where bail has been set at $1,000 on an information for assault and battery.

The power to arrest is a very important one which under any circumstances should be exercised only with sound discretion. One constable in Pittsburgh arrested a foreigner at night. Having no warrant he took him to an alderman's office, where he found the alderman out, and pretentiously used the telephone to locate him, with no results. Then substantially the following conversation took place:

"Now —— you, I will be the squire myself," taking his place behind the railing.

"How much money have you?" The prisoner was found to have a few dollars on his person.

"Well you are fined $—— (the exact amount the prisoner had with him) and discharged. Now get out."

The fine was pocketed and the prisoner permitted to go. It is probable that the constable was drunk, but the abuse is only the more apparent.

In another case an educated German was studying manufacturing methods and[Pg 857] spent much time in the neighborhood of the steel mills. One evening he saw an alderman's constable, whom he knew by sight, on a street car handcuffed to a prisoner. With Teutonic curiosity he asked the details of the case. The constable, who was under the influence of liquor, beckoned the German over to him and deftly handcuffed him also. The German, of course, thought the affair a little joke. He was, however, taken to jail, but refused by the warden, because there was no warrant for his confinement. The constable then took the prisoner outside, and when they reached Diamond street asked him how much money he had. The German really had $600 or $700 on his person, but replied that he had only a few dollars, producing some bills and small change. The constable told him he would release him for $3.50. This the German paid and got his liberty. The latter was leaving the city the next day and, as he was a steel expert representing a foreign government, could not possibly remain to prosecute the constable. It is not likely that such abuses are common, but their existence indicates the possibilities of abuse of a system which provides for no form of supervision.

There are costs connected with all these criminal matters. These costs the defendant if guilty is supposed to pay. But the fact that an alderman entertains a frivolous information does not prevent his being paid for his work. If the case is discharged the county pays. If the prisoner is committed and the case ignored by the grand jury the county pays. The percentage of bills ignored by the grand jury is sometimes as high as seventy-two per cent. This means that seventy-two per cent of persons brought before the alderman have either been put in jail or held for bail on evidence not sufficient for the basing of an indictment. In all such cases the aldermen are secured in their costs, and as we have seen in 1907 the costs returned in such discharged criminal cases to the various aldermen and justices of the peace and sundry officers amounted to $26,724.45. Taking the year 1907, we find that for the support of the criminal court the county was put to a net expense of about $150,000. By law aldermen must pay over to the county all or sometimes a proportion of fines collected depending on the special act of assembly. These fines are supposed to be voluntarily accounted for, and up to very recently very little attempt was made to test the accuracy of such returns. In 1896, however, the county controller inaugurated a system of auditing the criminal dockets of aldermen for the better ascertainment of the county's share of such fines. The returns that year increased seventy-five per cent and have been increasing steadily ever since, although in 1907 the total amount returned to the controller in such cases was but $3,714.20.

In brief the whole aldermanic system is defective. At the threshold we find an office the income of which is derived from fees, depending upon the volume of business. Plaintiffs are customers, the more the merrier. Impartiality is impossible, and decision on merits almost unheard of. The fee system, which causes the injustice and corruption, has come down to us from colonial times, a relic of the days when the public purse was too lean to permit paying salaries to minor judicial officers. From a wise public economy this fee system has become, with the growth of the country, a source both of injustice and of extreme expense to the public at large. It should have been abandoned long ago, but through the indifference of the public and the political influence of the aldermen it remains and flourishes.

The second radical defect of the aldermanic system is that the office is mixed with politics. An effort was made a few years ago to abolish the aldermanic courts, and it is a matter of history how sudden a death the movement met at the state capital. One of the judges of the county bench in discussing the matter recently expressed the opinion that no act of assembly could be passed to remedy the situation, because of the political influence of the aldermen. It has been the boast of this country that the judiciary is not swayed by politics, but here in the subordinate courts we have a branch of the judiciary so steeped in politics that[Pg 858] the squire's office as a campaign center and a place of political organizing rivals the saloon.

Third, we have the almost ludicrous case of judicial officers who with noteworthy exceptions are not learned in the law, are sometimes uncouth, generally ignorant, and have made their mistakes, not only in law, but in grammar, a source of constant lampooning. These are proverbial. The grave decisions of the higher courts that aldermen are state judicial officers presiding over judicial courts has a flavor of irony.

Fourth, the geographical distribution of these courts, and their concurrent jurisdiction, permit plaintiffs by taking their cases to the outlying wards to use aldermanic courts for purposes of annoyance and spite, permit competition among the aldermen, and result in a general demoralization.

We are driven to three conclusions: that the aldermanic system as found in Pittsburgh is always extravagant, that it is generally inefficient, that it is often corrupt.

Were the minor litigation handled by an efficient tribunal, not only would respect for law among the masses be restored, but the county courts would be relieved of a considerable portion of their work, and thus be enabled to clear their crowded calendars. This would remedy at one stroke an abuse, and solve a problem which occupies the attention of the whole bench and bar.

Pittsburgh is not alone in this problem. Conditions in Chicago a few years ago were similar. Their justice of the peace system had outgrown its justification, had become corrupt and woefully inefficient. Nothing had been done because of the political power of the justices and the necessity of an amendment of the state constitution. But the people took up the problem in a way that brought something about. The state constitution was amended, a municipal court organized, and as a result Chicago, in an incredibly short time, got rid of most of the evils of the old system. The Chicago solution was a municipal court of a distinctive type. A chief justice and twenty-seven associate judges with salaries, preside over a court having branches in the chief centers of the city. The court in its first six months disposed of 40,610 cases, of which but ninety-two were carried to the State Appellant Court.

The Pittsburgh problem is that of creating a system along lines which would serve Pittsburgh as well or better, and which would link efficiency with expedition, impartiality and economy,—a system which would obtain immediate justice for the poor and the uninformed, and would remedy the overworked condition of the county courts. Such a system would save the public thousands of dollars a year.


THE CHARITIES OF PITTSBURGH

FRANCIS H. McLEAN

SECRETARY FIELD DEPARTMENT FOR ORGANIZED CHARITY, CHARITIES PUBLICATION COMMITTEE

The city of Pittsburgh at the time of this survey possessed six private relief societies which dealt with more than 1,000 families a year each; three which dealt with between 500 and 1,000 families, and a Department of Charities whose cases numbered over 1,000. In addition, relief was given to a number of individuals by some of the settlements, by the probation officers, and by private groups. The number relieved or the amount of material relief were not ascertained and could not be in less than from one to three years. It has developed also that other associations, whose original purposes were of a different character, some purely educational, have had smaller or larger funds to use for relief. In the summer of 1908 requests for information were sent to 422 churches. Of these sixty-one replied and of this number sixty reported that they gave relief. The more one went into this investigation, the more one appreciated the impossibility of concretely recording the number of organizations[Pg 859] dealing in material relief. Without in the least attempting to theorize, but drawing the obvious conclusion, it may be said that Pittsburgh's primary charitable impulses to give to the poor were being disintegrated because there was no sufficient relation between the groups and no feeling of joint responsibility.

In presenting a rough picture of the whole charitable field in Pittsburgh it is doubtless necessary to remind those who read this that, if the survey had been undertaken in another city, conditions similar in many respects would have been found. Though in certain directions better co-ordination would be found, and in certain other directions developments which are not here present, the fact remains that in all our cities charitable societies simply "grew." Taken in the large there are gaping rents and holes, discordant colors and bad cloth in the fabric of each city's garment. Without the repression of a single individual impulse of the right sort, the writer seriously questions whether eventually we shall not have to apply the rigorous precepts of town planning to the work of proper co-ordination and systematization of charities.

Coming to medical care and nursing, the city on October 1, 1908, had fourteen general and seven special hospitals, including two supported by the city for contagious diseases. Fourteen of these reported a total property valuation of $6,848,339; nineteen a bed capacity of 2,268. Thirteen reported their number of free patients for the previous fiscal year as 10,135, the cost of maintenance of these free patients as $339,518. The capacity will soon be increased. Twelve of the above hospitals maintained dispensaries. In addition there were three dispensaries independent of hospital management. One of the three reported patients to the number of 1,955 for one year, another 5,647, the third, a state dispensary for tubercular patients, at the time of the Survey, had not completed a year's work. A valuation of the property could not be obtained. Not included above is the tuberculosis camp maintained by the Department of Charities at the county institutions at Marshalsea.

Nine agencies provided nurses to visit the homes of the poor. Of these three were distinct organizations, one only being chartered; two were carried by settlement house associations, two as departments of church work, one by a religious order, and one by a school alumnæ association.

So far as observations go the specialized work itself was well done. Yet the nursing associations may be specifically accused of such failure of co-ordination that the nurses were constantly crossing one another's tracks, visiting the same families, instead of having worked out, jointly, a district plan.

The welfare of children is of course involved in the agencies named above. In addition there are no less than forty and possibly more institutions for their care. For the especial oversight of children within family circle influences, there is the Juvenile Court Association, two playground associations, and the Children's Aid Society of Allegheny County. These, and other agencies are described in the special article on children.

For the joint care of mothers and children there are six fresh air homes and six day nurseries.

There are ten institutions to provide temporary shelter, principally, for both men and women. The general intention of these agencies is to set upon their feet people who are without immediate home ties and so return them to normal conditions.

Coming to the aged where the fair chance may consist simply in providing suitable institutional care, we find for them no less than eight homes, exclusive of the care provided in the city institutions of Pittsburgh located at Marshalsea and Claremont (formerly a part of the municipality of Allegheny).

Six rescue homes for unfortunate women next come into the field of observation.

Outside of the necessary care provided by public moneys, there would seem to be very little private provision for the care of defectives, there being for this class only one institution, a home for epileptics.

[Pg 860]

A public wash and bath association, as well as a widows' home association, provide other forms of self-help to women particularly. The former furnishes women with tubs and driers to use for the washes which produce income. The latter lets nineteen houses with a total of 110 rooms at a small rental to the families of widows with limited means, thus providing pleasant sanitary quarters in a good neighborhood. It is significant of the confusion prevailing that even this last association has developed special relief funds of its own.

A legal aid society has lately been organized.

To this point we have been enumerating associations which, while possessing social purposes, have embodied in their fundamental aims some form of direct relief, material or otherwise, to the individual. There are other agencies purely for social reform which should be cataloged. These associations are primarily concerned with certain forms of so-called preventive philanthropy. The Civic Club, the Chamber of Commerce, the six settlements, the tuberculosis league, the child labor association, have all dealt with specific social problems, to say nothing of the endeavors of the Health Bureau in fighting improper drainage, bad housing and preventable disease and of the city administration in struggling for a better water supply and the diminution of typhoid fever.

While both the child agencies and the social reform agencies last cataloged find their proper positions in other lines of the Survey, it is necessary that they be included in this bird's eye view of the whole charity organism.

Drawing closer now to the organism from our bird's eye view, we observe four plainly marked divisions. The classification here made is not one which appears in any directory of charities but it is one which is peculiarly adapted to a survey of a field. A different analysis would be required for other kinds of study. We find then four lines of activity: (1) Treatment of Families in their Homes, (2) Neighborhood Aid, (3) Indoor Relief, (4) Social Aid.

By (1) we refer not only to material relief but also to all other forms of aid, medical, legal, advisory, in fact to any dealing with individual families in their homes, whether the treatment be mental, moral, physical or environmental. It is with this group that this study deals. By (2) we refer to the satisfaction of the needs of neighborhoods rather than of individuals: to the general activities of settlements, of bath houses, etc., so far as those activities are not manifested in direct civic and social reforms. Of course (3) refers to all forms of institutional care, temporary or permanent,—for children or adults. Number (4) refers to all agencies or activities for civic or social reform. The last three groups are considered in detail by other contributors to the work of the general survey.

In Pittsburgh as in other cities the philosophy of individualized charity still holds strongly its position. Individualized charity as against social charity involves the idea that what one does concerns only the doer and the "done to." That necessarily associated with charity is the function of umpire and director has occurred only to the larger societies. In the three last fields of our classification everything tends towards organization of a public character. The very end to be obtained, whether it be to provide hospital care, baths or child labor legislation, requires the co-operation of many people and with co-operation and the more or less resultant publicity the organizers must inevitably sense some sort of public responsibility. In the treatment of families in their homes, however, no such fundamental need of publicity exists. Therefore it is that many people, having perceived human suffering, without thought of the importance of co-relation, of adequate knowledge, or of umpiring, took the easy means of giving money and food and clothing without recognition of anything beyond. Thus, possibly hundreds of individuals and groups are serving simply as distributors of material things. It is true that one of the relief associations maintained a registration system by which[Pg 861] people might learn what others were doing for a family, but the information was concerned mostly with the giving or withholding of material relief. More than that, it can scarcely be said that this registration system was sufficiently advertised or advertised with sufficient continuity. Even in communities where a charity organization society continuously advertises its registration system, there is still revealed a wide crudeness of thought which is crippling to any sort of decent social progress. In the city where the confidential exchange of information between societies has been best developed it is a fact that scarcely more than a score of churches register regularly. By not doing so the churches everywhere have put themselves in the wrong, they have not recognized the very sacred and high social function which is involved and which so vitally concerns the social welfare. For it will be observed that there is nothing in the recognition of the high social function which favors the centralization of relief work of any sort. It means only that there shall be a working out together of the family problems and an estimation of the remedies to be applied.

Both with the smaller groups and with the larger societies the lack of co-operation has resulted in rather confused umpiring and in the application of wrong remedies. For instance it has been revealed that able-bodied men, with families, have been aided through the public charities department. What they needed and should have had was the careful attention of some private society which would bend every energy to provide work for them. Whatever conditions were responsible for the unemployment of these men (at a time when there was no particular industrial depression) there was only one way of treating them so that their own sense of initiative would not be lost. That was through one of the several private agencies to provide absolutely necessary amounts of relief to each man while pushing him into work. But with certain striking exceptions each one of the agencies was working along irrespective of the activities of others.

Few societies felt that to be brought in touch with a family should mean the acceptance of the responsibility for furnishing or securing the total necessary amount of relief, material or otherwise, which might be required.

As a field investigator has written:

Previous to the organization of the Associated Charities in February, 1908, no center of information existed, and there was practically no attempt at co-operation among the different relief agencies. Indeed, it was tacitly understood, if not openly expressed, that families applying for aid to any agency would go to others. One city official expressed the feeling when he said, "Of course, they go to other societies; we don't give them enough to live on." The shape of the city made communication between the different districts often very difficult in the days before the telephone, and habits formed then are not wholly outlived. The main thoroughfares follow the general direction of the two rivers. These become widely separated by high hills as they extend back from the business district on the "Point," and often one must either go a long way round or climb over to get from one section to another. It was very easy for a family to have its rent paid by a church, to get groceries from the city charities, to secure a nurse if needed, besides miscellaneous aid from one or more societies and charitably inclined individuals without any one of these organizations or persons knowing that another was helping.

From May 1, 1908, to September 20, 1908, the Associated Charities investigated 216 families. Of these thirty were "out-of-town" cases and twelve were false addresses, leaving 174 cases tabulated for comparison. The following shows the number of these cases duplicated by different societies and is probably a fair sample of the overlapping constantly going on:

No. of cases helped by 11 societies 2
No. of cases helped by 7 societies 2
No. of cases helped by 6 societies 3
No. of cases helped by 5 societies 17
No. of cases helped by 4 societies 12
No. of cases helped by 3 societies 20
No. of cases helped by 2 societies 23
Total 79

A more thorough investigation than was possible with the limited number of workers would have shown that many of these cases were also receiving aid from one or more churches or individuals.

It should be remembered that this comparatively small list of duplication, only covers the cases where actual investigations[Pg 862] were made by the society itself and not the many duplications revealed in the registering of from 7,000 to 9,000 cases. The reason why no tabulations were made of these was that, owing to the incomplete registration, the returns could represent but a very incomplete set of facts much less than in the case of the families actually seen.

Duplication of relief without thorough investigations, it need hardly be said, may mean one of two things. It may mean in one instance the dowering of a family which needs something else than financial aid, or it may mean, in another, the inadequate dowering which compels an otherwise decent family to beg from different quarters, thus inculcating the begging habit. It is not an unjustifiable theory to advance that it probably meant the one just as often as it meant the other in the Pittsburgh field because there had not been, previous to the coming of the Associated Charities, those frank and informal conferences between workers in the different societies, which alone can bring about that joint planning for the same families which is not only economic but just and not only just, but humane.

Every charity organization society in the country can match these stories of the evils resulting from the lack of a feeling of complete responsibility, which means inevitably unfair umpiring and often no direction at all. For how can there be direction when not all that is being done is known, and when the manner and the character of the remedies are held secret. The Associated Charities workers do not claim that with their presence the uncooperative effects disappear as at the touch of a wand, but that means to bring about complete and, if need be, joint responsibility for doing the right and complete thing for each family is furnished through their offices as meeting places and neutral ground.

The great weakness in the treatment of families in their homes, other than in medical and nursing care, is in the lack of thorough knowledge regarding the individual causes of conditions, the individual characteristics and connections and resources (other than material) of families, and a planning upon this knowledge. There is no need to draw illustrations from the Pittsburgh field because they can be drawn from every city, even where a greater degree of co-operation has been developed.

There is the instance of the aged mother, once a successful boarding house keeper, assisted by a society to re-establish herself in this business though her increasing infirmities doomed the project to failure. This failure brought not only the mother but her widowed daughter (herself in poor health) and two children into the direst of situations. Then it was found that the money had actually been thrown away because a certain well-to-do-relative in another city had not been followed up. The clue which led in his direction had been covered up during a hurried investigation. When he was informed through correspondence of the situation he immediately made provision for the mother in his own home and for the temporary care of the others until the daughter recovered her health.

There is the instance of a man and wife, the man apparently recovering from tuberculosis. No careful physical examination was made either of the husband or wife. Various attempts at finding employment for the husband were made but he began to fail. Then suddenly the wife's condition became alarming and it was discovered that she was in a more advanced stage of the disease than her husband. Meantime the couple had not been assisted in tracing the whereabouts of the husband's parents, supposed to be well-to-do. In the end, fortunately, the couple themselves received word from the parents who were in California prepared to receive the family (which included three young children) and to provide care for the sufferers and if the worst came to give a home to the children.

There are the many instances, where material relief has been given to sickly families and the improper sanitation of the neighborhood or the imperfect disinfection of the houses, the causes of the conditions, have not been investigated and rectified.

There are the instances where a family, left as the result of an industrial accident[Pg 863] without its male bread winner, has not had the kind of assistance which would enable it to secure the proper settlement with the particular industrial plant in which the death occurred.

There are the instances where the wayward boy has not been given the specialized training which might have turned him into an interested workman with a constantly increasing salary.

There are the instances where widows have been allowed to carry too heavy burdens and where, unknowingly, children have been put illegally to work, through holes in the laws which should be blocked up.

There are instances where with the failure to see the male bread winners the whole moral and physical condition of the families has rotted because shiftlessness and intemperance have been allowed to run riot.

There are the instances where endless evil has developed when the most hardened of beggars, because of their very vociferousness, have been permitted to set an example of easy living to the honest and toiling people in a whole community.

There are the instances where material relief has not been followed by agencies for the development of a better family life: better cooking, better home keeping, a larger fund of recreation, more harmony, better individual development, more thrift. In other words, such a development that there need not again be descent below normal living.

In Pittsburgh as elsewhere there has been too much reliance upon visits to the families and upon a superficial sizing up of conditions. As a result there has been too little development of treatment beyond the mere giving or withholding of material relief and of medical and nursing relief. Notable exceptions there are, but on the whole it can but be said that material relief alone, and that in many instances by no means adequate, has bulked too large. The same must be said of outdoor relief everywhere. To-day it requires as much attention for its right development as any other field of social effort.

It cannot be said that the outdoor relief agencies of Pittsburgh have been as effective as educators of the community and directors of its charitable impulses as they would have been with proper co-operation. On their own initiative they are now putting an amount of effort, and brains, and heart into the work of co-operation which assures far more definite results when the new order has established itself. For instance, it would have been possible, with proper co-ordination, for the relief agencies to gather a vast mass of data regarding dependency wrought or deepened by two social evils to which Pittsburgh is prone, the prevalence of typhoid fever and the number of uncompensated industrial accidents.

It was not possible for those engaged in this survey to obtain any satisfactory data as to the approximate number of applications for aid, due, superficially at least, to these two causes. They have also been unable to obtain reliably complete data regarding the prevalence of tuberculosis in the families to which a helping hand has been extended. Nor could data regarding centers of infection and probable inciting causes of this disease be obtained. It was not possible to ascertain in how many instances physically weakened young men and women could trace as one of the causes of their condition, too early labor for wages. It was not possible to learn in how many families the mental backwardness of the children could be traced to physical condition. Nor, it must again be re-emphasized, do the relief agencies of other cities live up to their responsibilities in this direction. There have been many cities visited by the writer where long established charities, with fairly complete records and with a covering of practically the whole field, have not held in compact shape the illustrations to furnish the background which might cause people to hearken more quickly than anything else. A society, which among other activities, maintained a tuberculosis committee, was unable even to state the number of families, with whom it had come in contact, in which cases of tuberculosis had been discovered. Another city, where there was tolerably good co-operation, and where there had been considerable interest manifested in the housing problem,[Pg 864] could not tell from its records, just where in certain specified neighborhoods the most unsanitary houses were located. The writer in this case felt personally responsible so that his position as critic must not be misunderstood.

To put it plainly the Survey has only revealed again that in the whole field of outdoor relief there must be a deeper realization of the fact that as umpires in the discrimination of causes, as workers in the right forms of treatment, and as educators in revealing true conditions, there is a very heavy responsibility which all who in any way deal with the dependent or neglected in their homes, must feel. It is because their work brings them into the homes that the responsibility is the greater.

Credit is due to the devoted services of many of the workers in Pittsburgh for their own self-sacrifices in order to do satisfactory work. They themselves felt the limitations which the environment of isolation had brought about and they had determined effectively to break the isolation. They alone know the amount of thoroughly good work which has been done in the past. Nor must it be forgotten that during those days of isolation the Association for the Improvement of the Poor steadily maintained a registration system which was used by not a few societies. Illustrations of thoroughly adequate treatment along the lines of material and other relief may be found in this association as well as of others. The idea of co-operation and adequate treatment was there but it required development through united action.

Still considering particularly those agencies brought into the families of the poor because of material needs, we can get a much clearer picture of the actual policies involved in their work by an examination of their methods. A description of the modes of procedure of the more important societies will therefore find its place here:

City Department of Charities: Relief in the homes is given in groceries, coal and shoes. The method of distribution varies slightly in the two offices: In Pittsburgh baskets containing flour, ham, potatoes, coffee, sugar and soap, valued at two dollars retail price, but costing the department less are given once in two weeks, while on the North Side orders are given on local dealers for the same amount, two dollars. Applicants come to the offices for baskets and stand in line to secure them; among them children were noticed daily. All the cases are supposed to be investigated by a visitor, and the findings reported to the examiner, who decides whether relief shall be given or not. No systematic re-investigation is made and a case continues to receive aid indefinitely although as many cases as possible are dropped at the end of the year.

Society 1: Material relief is given in practically the same way as by the city charities, though the amounts are not so uniformly fixed. With exceptions the work however deals largely with the basic needs of families. Special attention is given to some tuberculosis cases. There is investigation by field workers.

Society 2: Only general information possible. Average of expenditure to each applicant was a little less than two dollars. Instances were cited of payment of tuition, pensions, etc., and in one case of the purchasing of a tent and necessary equipment to enable a young man with tuberculosis to live in the fresh air. Volunteer investigators.

Society 3: This organization's work included the distribution of bushels of coal, meals, free lodging, baskets of provisions, bowls of soup, garments and shoes, blankets, hospital and medical care, transportation secured, families moved, rent secured and paid, gas bills paid, Thanksgiving and Christmas baskets.

Society 4: Another important society confines its work largely though not entirely to the giving of baskets of groceries and clothing. Its reports also show expenditures for tuition and board of orphans, burial expenses, etc. The report for the year 1907 showed the number of families aided to be 355, and the amount of money spent $6,562. Volunteer investigators.

Society 5: Baskets of groceries, value fifty cents each, are given each week and one load (twenty-five bushels) of coal each month. Rent is also paid in many cases "often for months." Employment is secured whenever possible.

Passing from the general agencies to the church societies (which do not ordinarily keep records in any city and which therefore are not included in the consideration of that subject though logically they should be), we find no complete records of work done on the part of the sixty-one churches reporting last summer except that twenty-nine were helping 491 families and that the amount of relief expended by thirty-four was $7,595.29. Under the head of remarks there were indications of some diversification from the stereotyped forms of relief. One church was educating a "bright young girl." One was loaning money.[Pg 865] But encouraging as these instances might appear they are offset, by the story of a church worker who had been helping a family for fifteen years without seeing the husband.

The thoroughness with which treatment is carried out is partially indicated by the character of the records kept, though good forms may oftentimes cover poor work.

On the following page are given typical samples of forms used by three of the more prominent agencies. Below is presented the more exhaustive standard case record card used by some societies in other cities:

[Pg 866]

I.—Meager blank used by Pittsburgh Department of Public Charities.

II.—Blank formerly used by Allegheny City Department of Public Charities,—a much more complete record, abandoned since the merging of the cities.

III.—Blank used by private agency.

[Pg 867]

The systems pursued by other prominent Pittsburgh agencies are as follows:

Society A. Names, addresses, number in family, and religion are noted on blank cards, or written in books.

Society B. Record system not in existence. No paid worker. Only record of names and amounts.

Society C. Record of cases very meager, consisting only of names and addresses, with a few items of information, such as the number of children, whether married, single, widow or deserted, on cards.

Society D. No systematic records.

Society E. Clear general statements as to money received and expended but no case records.

In addition to such a record card these societies have so called continuation sheets on which chronologically are entered all information or advice obtained and all action taken. It is apparent that there can be no systematic knowledge of families unless there is such systematic keeping of records. The separation of families into the worthy and unworthy can nowhere be found in such records, which reveal instead the innermost causes, the remedies for the removal of the causes and the resources, material or otherwise, at hand to effect the removal. In other words the three fold function; umpire of the fight itself, determiner of immediate remedies, educator of the community to give a fairer show in the future, can only be carried out with such systematic recording.

After three months' effort it was found impossible to furnish any approximation of the amount spent annually for material and other outdoor relief in the city of Pittsburgh.

These partial returns were obtained:

Agency. (Spent in their last fiscal year before the depression.
9 (of 10) General Relief Societies $78,257.00
City Department of Charities 52,037.11 (8 Mos.)
54 (of 422) Churches 22,161.00
4 (of 9) Nursing Societies 7,223.00[6]

[6] Exclusive of private relief fund.

It is unfortunate, that owing to lack of co-ordination there has been a confusion of function between outdoor relief and neighborhood agencies. Many of the latter have possessed distinctly relief funds and have been relief agencies. It is doubtful if this has been anything but a disadvantage to them. It has divided their attention between two totally different sorts of problems, two sorts which require above all else, concentration. The general isolation of the field has driven them, in many instances, thus to protect their own neighborhoods against neglect. But they have been unable in many instances to deal with these tasks adequately, and their larger feeling of social responsibility has not enabled them to build up much better plans for individual care than agencies, directly charged with this burden. They have been hampered by their own relief efforts and their legitimate work has suffered thereby.

They have felt much more clearly their responsibilities as umpires of the social struggle and educators of the social conscience, than the great bulk of the strictly relief agencies. The confusion of their function, before mentioned, has been, it would appear, a rather unfortunate departure which still further muddied a not clear stream.

With reference to the organization of the Associated Charities, it may be stated that the demand for it came both from the reputable societies themselves and the business community, the heavy contributors to charity. Greater harmony of action, greater efficiency in action, these were the common aims of the coalition. Several attempts had been made during the past ten years to place the charitable work of Pittsburgh on an organized basis, but without tangible results until February 21, 1908, when the Associated Charities received its charter. Its office was opened April 22 and the work of securing the co-operation of individuals, churches, relief societies and other charitable agencies, began. The society has grown rapidly along lines of work successfully followed by similar organizations in 172 American cities. It is already serving as a center of intercommunication between churches, social and charitable organizations, institutions and individuals who are interested in charitable and social service. It has already done much towards systematizing the charitable work of the city, with a[Pg 868] view of checking the evils of unorganized charity and of making every charitable dollar do one hundred cents' worth of charitable work. While the force and equipment of the new association are necessarily small, they are growing, and the association hopes to increase its facilities, so as to keep pace with the rapidly increasing, heavy demand upon it.

The constitution of this organization provides for a central council, in addition to the usual board of trustees. The council consists of one delegate elected by each of the charitable, religious and social agencies which have joined the Associated Charities. Besides these delegates, the central council includes, as ex-officio members, the mayor, director of the Department of Charities, director of public safety, director of public works, superintendent of the Bureau of Health, and superintendent of the Bureau of Police. The province of the council is to promote the development of co-operation between individual societies, to pass upon questions affecting the general welfare of the poor and the charitable activities of the city. By October 31, 1908, thirty-one societies were affiliated in the central council and the registration bureau contained 7,039 records. The bylaws of the society provide that anything which involves the welfare of the city or its social conditions may become its concern. Thus as the servant of the charitable agencies of the city it will often serve as the rallying point for social advance though it would be the last to affirm that it will be the only rallying point for the general spirit of good feeling which is slowly manifesting itself among the social organizations of the city.

By the presence of this co-operating center, the co-ordination of the work of the charities of Pittsburgh should bring about:

1. Adequate material relief, when actually required. For not only will the total amounts necessary for individual families be carefully considered and worked out by joint committees but the relief may be gathered from a number of sources, from relatives, friends, employers, societies and charitably disposed individuals. The society has no relief fund of its own but its function is to organize relief.

2. The repression of mendicancy and the repression of illegitimate charitable schemes by the bureaus of registration and information and in cases of necessity, the prosecution of imposters.

3. The securing of employment, rather than the giving of material relief, wherever this is possible.

4. The inculcation of habits of thrift and providence, the development of industrial education.

5. The co-operative treatment of families to bring all members of such families up to the highest possible mental, moral and physical plane, not only to conserve the well-being of the individuals themselves but to prevent the weakening of society by adding in successive generations to those who are sub-normal (such as weak minded children).

6. Such special or institutional care of the deficient as shall work towards the same end.

7. The crystallization of the sentiment of the charitable forces of Pittsburgh, with reference to necessary social reforms.

8. Greater efficiency in the business affairs and records of the individual societies, thus imparting greater "doing" power to the same amount of charitable resources, and creating a body of social facts which can be made the basis for sound public opinion with respect to the living conditions of the community.

Here then has been the evolution. Individualized impulses developing specialized organizations in an un-plotted field. The conception of individual well-doing with no conception of the general social responsibility. Added to this the growth of more or less unnecessary, weak, and in some cases fraudulent, charitable enterprises (to which we have not alluded before) because of the ease with which support could be obtained in a community generous to a fault. This support gained too without necessarily bringing with it any sense of responsibility on the part of the contributors. There is a well corroborated story, vouched for by a leading professional man of the city, that for years a woman had collected about $7,500 annually for a fresh air home which cared for only a few children. The collections continued until he and others had a private investigation made and discovered the truth. It is comparatively easy to secure the assent of many men to allow their names to be used on boards of directors if no service is required. This is not a bad practice when such men know the responsible directors and can safely vouch for their actions. But care was not always taken to ascertain this.

THE PITTSBURGH DISTRICT AND THE HOUSING SITUATION

The direct work of investigation in the field of housing reform, carried on by the Pittsburgh Survey, has been intentionally limited to the question of sanitary regulation. That was the first prime need to be met. The work has been carried on under the supervision of Lawrence Veiller, the foremost authority on housing reform in this country. Mr. Veiller was the secretary of the New York State Tenement House Commission in 1900, first deputy commissioner of the New York City Tenement House Department, and is director of the Department for the Improvement of Social Conditions of the New York Charity Organization Society.

In illustrations and text, no attempt is made to present a review of the development of model towns in the Pittsburgh District, or the construction of single and two-family houses. These are matters which will properly come before committees on building construction and town planning of the new Pittsburgh Civic Improvement Commission.

Real estate dealers and builders have not been inactive in Pittsburgh; but the situation is so serious as to demand the development of a constructive public policy.

It demands such town planning and traction development as will open up wider suburban areas and relieve congestion. It demands such radical modification of the tax system, as will put a premium, as in metropolitan Boston, on home building; rather than a premium, as in Pittsburgh, on the speculative holding of unimproved land. Pittsburgh might well be the first city to try out in America the co-operative building scheme which has gained so much momentum in England, and by which the shifting industrial worker owns not a house, but stock in a housing company, which builds wholesale. Such a plan would admirably supplement the operations of the realty companies and building and loan associations in housing the growing industrial force of the steel district, and would offer an opportunity for investment at five per cent and the public good such as opens in no other direction to the man of large means and large imagination who would leave his impress on the Pittsburgh District.

—DIRECTOR PITTSBURGH SURVEY.

Such a condition could not go on indefinitely. The leaders in the societies themselves insisted upon a better sensing of social responsibility, which meant simply the better realization of one principle, co-operation, the signpost to the second stage of growth. This led not only to the manifold kinds of co-operation made possible by the formation of an Associated Charities, but to a joining of forces in other directions.

So the march of social reform goes on, with the charitable agencies of the city more and more fulfilling their function of rightly estimating causes and tendencies, of providing the fair chance to the dependent and defenceless by intelligent, co-ordinated, family treatment, and of educating the public towards the need of social legislation and regeneration.

[Pg 869]

OLD PLANING MILL KNOWN AS TAMMANY HALL, TORN DOWN THROUGH THE ACTIVITY OF THE BOARD OF HEALTH.

Twenty-five families were formerly housed here in 26 rooms. Building to left continues to be occupied as tenement—10 families and 2 stores occupying 13 rooms. To the rear can be seen remnant of the planing mill. Three families occupy three rooms reached through the doors opening off the gallery.

[Pg 870]


THE HOUSING SITUATION IN PITTSBURGH

F. ELISABETH CROWELL

DEPARTMENT FOR THE IMPROVEMENT OF SOCIAL CONDITIONS, NEW YORK CHARITY ORGANIZATION SOCIETY

[Pg 871]

Last winter, the Pittsburgh Survey, co-operating with the Bureau of Health, conducted a special investigation of the housing situation in Pittsburgh. Its purpose was a general stock-taking from the point of view of sanitary regulation. Evil conditions were found to exist in every section of the city. Over the omnipresent vaults, graceless privy sheds flouted one's sense of decency. Eyrie rookeries perched on the hillsides were swarming with men, women and children,—entire families living in one room and accommodating "boarders" in a corner thereof. Cellar rooms were the abiding places of other families. In many houses water was a luxury, to be obtained only through much effort of toiling steps and straining muscles. Courts and alleys fouled by bad drainage and piles of rubbish were playgrounds for rickety, pale-faced, grimy children. An enveloping cloud of smoke and dust through which light and air must filter made housekeeping a travesty in many neighborhoods; and every phase of the situation was intensified by the evil of overcrowding,—of houses upon lots, of families into houses, of people into rooms. Old one-family houses were found converted into multiple dwellings, showing that Pittsburgh's housing problem threatened to become a tenement-house problem as well. To cope[Pg 872] with these conditions was a Bureau of Health, hampered by an insufficient appropriation, an inadequate force of employes, and in the large an uneducated, indifferent, public opinion. A report of the investigation was published, and was used by the housing committee of the Pittsburgh Chamber of Commerce in its campaign of education in support of ordinances then before councils. These ordinances were in line with recommendations of Superintendent James F. Edwards of the Bureau of Health and the city administration. Councils voted an increase of $20,000 to the bureau for its work in this field. The force of employes in the tenement house division was increased from one chief inspector, three inspectors and a part-time stenographer, to one chief inspector of experience, ten inspectors, one clerk and one stenographer on full time. A new system of records was inaugurated and comprehensive measures were undertaken to obtain the complete census of all tenements in Greater Pittsburgh. Subsequently, an ordinance was passed providing for the compulsory registration of tenement houses.[7] Here, then, has been a long stride ahead in the course of housing reform in Pittsburgh, which had been inaugurated several years before by Williams H. Matthews, headworker of Kingsley House, and the leaders of the Civic Club,—pioneer work which had secured the provisions of the existing state tenement house law and the creation of a tenement division under the Bureau of Health.

[7] Other ordinances affecting the housing situation have been put before councils through the instigation of Dr. Edwards. One provided for a special bond issue, [carried by the people in November], for the erection of furnaces to consume rubbish and ashes: and it is to be hoped provision will be made for its collection. Hitherto the city has been content to collect and dispose of garbage only. Rubbish and ashes in unsightly piles accumulate in back-yards until a sanitary inspector serves notice on the householder to remove them at his own expense. Another ordinance drawn for the purpose of giving the health authorities power to vacate cellar rooms in dwellings other than tenements, failed to pass.

SAW MILL RUN.

Rear view showing dry closets which emptied at edge of stream.

TENEMENT OF OLD DWELLING TYPE.

[Pg 873]

This leads us to the present housing situation in Pittsburgh,—a situation which should be seen in its right proportions. First, should be remembered the decades of neglect. The process of cleaning up and rehabilitation is a ten years' job. The very fact that ordinances have been passed, a tenement house census taken and fifty thousand people supplied with sanitary accommodations points the way to the long, exacting work ahead in devising legislation and enforcing it in order to bring existing structures up to what may be called the new Pittsburgh standard. In the second place, the tenement house dwellings for three or more families are, when all is said and done, but a small part of the homes of the wage-earning population. The great housing problem in Pittsburgh is that of the one-or two-family dwelling. Here is a field where even more exacting sanitary work and regulation must be done in the ensuing years. In the third place, the mill towns, as well as the city, present every phase of the evils of bad housing. It is a district problem, then, for the leaders in Pittsburgh. Finally, behind all these existing unsanitary conditions demanding regulation, is the shortage of houses throughout the Pittsburgh District which will reassert itself with returning prosperity. As a result of the campaign of last winter, the Bureau of Health is now for the first time adequately equipped to get at the existing tenement abuses and to point out the need for more housing accommodations,—new low-rental houses,—if the work of reducing overcrowding and eradicating disease breeding quarters is to be carried out on a comprehensive scale.

CLOSET UNDER PORCH SHOWN ON SECOND PAGE FOLLOWING.

PITTSBURGH.

A tool for producing pig iron in tonnage that beats the world.

[Pg 874]

The tenement house census shows a total of 3,364 tenement houses in the Greater City, and puts in the possession of the department a body of facts bearing upon the localization of bad housing conditions throughout Pittsburgh. This was the first logical step to be taken toward dealing intelligently and efficiently with the situation. To the accomplishment of this task the main energies of the tenement house division have been devoted up to the present time. From every source in every quarter the cry of "hard times" has been insistent and the authorities up to the present time have deemed it inexpedient to force drastic plans for improvement. They have endeavored to keep things clean, and have insisted upon necessary repairs, but orders relating to structural changes have been held in abeyance pending a revival of more prosperous financial conditions. The process of eliminating privy vaults, however, the most threatening sanitary ill, has been vigorously continued. Thus far 5,723 vaults have been filled up and abandoned and 9,323 sanitary water [Pg 875]
[Pg 876]
closets for the use of 10,471 families installed in their places. A census of the first twenty wards shows a total of 5,793 vaults still in use in these wards alone. No figures are as yet available for the remaining twenty-four wards of the Old City,—or the fifteen wards on the North Side.

PITTSBURGH: EQUIPMENT FOR HOME LIFE.

Four houses, one behind another, climbing up hillside between streets. Under the porch to the left were two filthy closets without flushing apparatus. They were the only provision for five families in the first two houses.

CLEARING THE VAULTS OUT OF PITTSBURGH.

Each dot stands for five vaults.

Illustrated by the first twenty wards.

8,567 vaults as found by present health administration.

The situation to-day: 2,774 removed, 5,793 to go.

Some of the worst plague spots in Pittsburgh have been eradicated despite the fact that, by veto of the governor of Pennsylvania, power to condemn insanitary structures was not given to the health authorities. That much remains to be done is, however, as true as it was a year ago, as I found on a recent reinspection. "Tammany Hall," Pittsburgh's classic example of bad housing is no more. Unable to vacate by process of law the old planing mill which had been converted into a tenement, the authorities piled violation notice upon notice at such a rate that the owner found the old shack a losing investment, and at last agreed to tear it down. He told me sorrowfully that if "they" had let him alone until September, he could have made $1,800 on the place,—an amount sufficient to pay his taxes to the city that was ruining him. It seemed a pity some method could not be found by which he might be forced to clean out another choice bit of property which he was renting,—a long, narrow, two-story brick tenement, where ten families and two stores are occupying thirteen rooms. The water supply was a sink in one apartment, and another on the second story floor and a hydrant in the yard. Here also were the closets which are shared by seven families, living in the houses adjoining.

STEWART'S ROW.

Showing proximity of privy vaults to kitchen. Houses dilapidated.

Another familiar eye-sore on Bedford avenue was still standing,—worse still, [Pg 877]it was rented out, at least in spots,—three families in the front, and three in the rear buildings,—Negroes and whites. It looked more dilapidated and dirtier than when I visited it last winter. The owner was notified over a year ago that the houses must be repaired and certain alterations made if they were to be occupied as tenements. She pleaded a heavy mortgage and a dying sister. The mortgage still holds, the sister is still dying, she is unable to find a purchaser for the property, and in the meantime two-room "apartments" are still to be secured for twelve dollars a month, with all ancient inconveniences:—water to be obtained from a hydrant in the yard, and shared possibly with eleven families; foul privy compartments also to be shared with neighboring families, and perchance an occasional passerby. None but the lowest class of tenants will live in these to-be-abandoned dwellings, and their continued existence constitutes a grave danger from a sanitary viewpoint, not only to the immediate neighborhood, but to the entire city. So long as the law permits such breeding places for disease, so long will the fight against filth diseases be a losing one.

Stewart's Row, on West Carson street, as I found it late this fall, was evidently destined to maintain the standard of the neighborhood in the matter of bad housing as originally set by its neighbor, Painter's Row; two wooden rows of two-family houses, rickety, leaking, sheltering thirteen families; two vaults at the rear, one with contents exposed; two hydrants the sole water supply; an obstructed drain; the hillside decorated with a disgusting combination of waste water, garbage, and rubbish.

Allegheny has added her quota to the problem of housing in Greater Pittsburgh. The tenement house inspectors in the course of their census-taking have unearthed more than one example of[Pg 878] rank conditions on the North Side. In one tenement the ground floor was occupied as a stable; a cellar revealed the piled up accumulations of years; privy vaults flourish and household water supply is noticeable chiefly because of its inadequacy. Over one-fourth of the entire number of tenements found in Pittsburgh are located on the North Side. According to the chief inspector at least fifty per cent of these are in a bad condition.

The Tenement House Department has thus found plenty of work ready at hand for its inspectors. Of the 3,364 tenement houses enumerated by the census, nearly fifty per cent are old dwellings originally planned and constructed to accommodate one family. Frequently, no provision is made to meet the demands of the additional number of families. Privacy is destroyed, closet facilities and water supply are inadequate, cellar and basement rooms are made to do duty as living and sleeping rooms and there is no protection from fire danger. Of the remaining number of tenements less than one-half are new-law tenements.

TENEMENT CENSUS.

Nationality. No. of Fam. Nationality. % of Total.
American 5,831 American 47.41
Polish 2,054 Slavs 24.64
Hebrew 1,077 Hebrew 8.76
German 963 German 7.83
Negro 597 Negro 4.85
Italian 443 Italian 3.60
Slovak 360 British 1.44
Bohemian 176 Misc. 1.47
Croatian 165 100.00
Hungarian 113
Irish 104
Syrian 98
Lithuanian 67
Russian 57
English 50
Greek 37
Austrian 31
French 21
Welsh 12
Scotch 11
Swedish 10
Servian 8
Finnish 4
Chinese 7
Norwegian 1
Spanish 1
Turkish 1
Danish 1
Tot'l No. of fam. 12,300 —No. of people 42,699
No. of fam. taking boarders 1,532 —Boarders 3,200
Total population in tenements 45,899

The accompanying tables show the various nationalities which recruit tenement dwellers and the share contributed by each. Nearly one-half are American born; one-fourth are Slavs. Next in numerical importance are the Hebrews, then the Germans, Negroes, Italians and British. The remaining scattered groups are included under the heading "Miscellaneous." Pittsburgh's tenements shelter 12,300 families, containing 42,699 people; 1,532 families take in boarders and of these boarders there are 3,200. The total number of people living under tenement conditions (three or more families to the house), is 45,899.

The welfare of over forty thousand people is dependent then on tenement house standards and their enforcement in Pittsburgh. This is perhaps eight per cent of the total population, a small proportion when compared with New York for instance. The primary housing problem of the wage-earning population in Pittsburgh, remains then not a tenement problem in the strict legal sense, but a one- and two-family dwelling problem. This is the aspect of the situation which Pittsburgh must face in its entirety if the city is to profit by the experience of older communities.

"If you think Pittsburgh is bad, you ought to see Glasgow," said one man. "Look at the tenements in New York," said another. Yet, if the city's phenomenal growth continues to be equalled by her phenomenal indifference to the necessity of raising the housing standard for her least paid laborers, the day may come, and soon, when Pittsburgh will make a close third to these cities. Because of hard times, vast numbers of immigrants have left Pittsburgh, and temporarily the rental agencies have plenty of idle houses upon their lists. These houses throw light on the situation. Two, three, four, and five-room apartments are available at an average monthly rental of from two and a half to five dollars a room in many sections of the city. There are also some single houses to be obtained for the same price. Over half of these dwellings are without any modern sanitary accommodations, and many are in a wretched state of repair. The majority of the houses are in the most sordid quarters of the city where living is high, at any price. Certain dwellings are offered especially for foreigners or Negroes, dilapidation, lack [Pg 879]of conveniences, and an undesirable locality being distinguishing features of these houses.

COMBINATION REAR TENEMENT AND ALLEY DWELLING, WEBSTER AVENUE. NEGROES AND WHITES LIVE HERE.

We label the foreigner as an undesirable neighbor; we offer him the meanest housing accommodations at our disposal; we lump him with the least desirable classes of our citizens; then we marvel at his low standards of living. Give him better, cheaper, houses where he may have a decent and comfortable home, instead of a mere shelter from the elements, unwholesome, overcrowded and expensive, and then see what his standard of living would be.

The natural conformation of the land with its steep declivities, and its winding, tortuous valleys, has added much to the difficulty of the housing situation. Adequate transportation facilities would open up territory on the South and West sides where countless people could be housed. The trend of the mills away from the city to nearby river sites, attracted by lower tax rates and unlimited space will offer further relief and improvement, especially where great employers of labor, in laying out their plants as at Mariana, and Vandergrift and Gary take heed of the proper housing and sanitation of the towns that will grow up about them. As the situation stands to-day, however, bad housing conditions are multiplying in the surrounding industrial towns; and they must face the same problem. Its seriousness demands the formulation of public policies that shall encourage every form of building operation that will produce sanitary houses at low rentals, whether they are private homes or company houses of creditable standard, or dwellings put up by building and loan companies, commercial builders, or co-operative housing companies, along English lines.

A Chamber of Commerce report states: "The city of Pittsburgh, along with its[Pg 880] vast industrial development, has grown so phenomenally in population during the past ten years that it has been clearly impossible for the growth in housing accommodation to keep pace. Careful and comprehensive investigations show conclusively that the housing facilities of the Greater City have completely broken down, not only in point of reasonably proper conditions but in amount of available real estate."

VIEW OF YARD SHOWN OPPOSITE.

Corner of rear buildings. Pump in foreground of picture opposite is the sole water supply for both rows of houses. Here rubbish is added to dilapidation.

"We have not the time, nor is it our function to investigate the housing situation of the city. Let the charitable or philanthropic agencies make a systematic study of the evils that exist, and we will gladly lend the support of our influence to any recommendations which they may offer," said a leading spirit in one of Pittsburgh's great commercial organizations. To this man the proper housing of the workingman had a charitable aspect.

"We don't want to go into the housing business. We are manufacturers, not real estate dealers. We may be forced to build houses in certain new districts in order to attract and hold labor, but in an old, settled community let the laboring man take care of himself. We don't believe in paternalism." I quote the president of a great steel company.

Said a prominent real estate man: "There certainly are other more attractive investments for private capital than the building of small houses,—taxes are high, the demand for such dwellings has fallen off considerably and the returns are uncertain, owing to the difficulty of collecting rents in times such as these."

And the laboring man says: "I want a decent home at a moderate rental, within reasonable distance of my work." Can he get it? Rigorous sanitary work by the health authorities will help. But more than that is needed.

PHIPPS MODEL TENEMENT.

Rebecca Street, Allegheny, October 21, 1908. Four room apartments rent from $4.25 to $5 a week; three room apartments from $3.25 to $4 per week. Steam heat, gas slot meter, sinks and water closets in each apartment.

YARD SHOWING BATTERIES OF PRIVY VAULTS AND DILAPIDATED CONDITION OF STEPS LEADING TO THIRD STORY. TWO ROOM APARTMENTS RENT FOR $12 PER MONTH.


[Pg 881]

PITTSBURGH'S HOUSING LAWS

EMILY WAYLAND DINWIDDIE

SECRETARY NEW YORK TENEMENT HOUSE COMMITTEE; FORMER SPECIAL INVESTIGATOR OCTAVIA HILL ASSOCIATION, PHILADELPHIA

[Pg 882]

One would expect to see bad housing in Pittsburgh as a natural result of the congested condition of the city, partially hemmed in by waterways, and of the presence of an increasing population of factory workers ready to accept whatever living accommodations are available near their places of employment. Unhealthful homes, however, are especially dangerous in Pittsburgh, where their influence has been combined with that of city crowding, and of smoky, gas-laden air and polluted water. Badly constructed houses and defective drainage are an evil in the case of the country laborer, but far worse for a Pittsburgh factory employe.

The tenement, with its usual accompaniments, has been a growing menace, although it has not yet obtained so great a hold as in many large cities. In 1900, one-ninth of the total population of the city was living in buildings now legally defined as "tenements,"—that is, occupied by three or more families each. Since that time it is said that the proportion of tenements and tenement dwellers has become considerably larger.

The city has recognized its dangers and a beginning has been made in the framing of state legislation and city ordinances to meet them.

The housing and health laws applying to Pittsburgh in many respects are like those for Philadelphia. There is no department of health, but there is a bureau of health in the Department of Public Safety, and similarly a bureau of building inspection.

The powers of the Bureau of Health in relation to housing conditions are more limited than those of corresponding departments in many other cities in the lack of authority to vacate buildings unfit for habitation. The writer had occasion to visit in Pittsburgh a large ramshackle frame tenement house, insufficiently lighted and ventilated, dirty and miserably overcrowded. The building, which had originally been a mill, was obviously unfit for occupation. For some time "Tammany Hall" had been almost as notorious in Pittsburgh as the infamous "Gotham Court" was in New York. The whole frame work was so poorly constructed that it seemed hopeless that the owner would consider improvements worth while for a building of this character, yet the Bureau of Health could not have the house vacated, and the tenants continued to live in their wretched quarters.[8]

[8] After long delays this house has now been torn down. The Bureau of Health took a determined stand in requiring compliance with the law if the building was to continue to be occupied as a tenement, and the owner finally became wearied and had the house destroyed.

Since 1867, one year after its creation, the Board of Health in New York has had authority to vacate buildings unfit for occupation, and in 1887 it was expressly included in the law that this power applied to any building "unfit for human habitation because of defects in drainage, plumbing, ventilation, or the construction of the same, or because of the existence of a nuisance on the premises, and which is likely to cause sickness among its occupants." This provision is still in force at the present day and has been extended to the Tenement House Department as well. In the course of a year the latter department alone vacated between one and two hundred houses. Similar powers are held in other cities. In Boston and Chicago they are exercised. In Washington many buildings have been not only vacated, but demolished. Nor is this authority confined to the largest cities; Jersey City, with a population 100,000 less than Pittsburgh's, and Rochester, with 40,000 less than Jersey City, both have health boards with full powers in this regard.

[Pg 883]

ONE OF THE CONGESTED DISTRICTS.

Apart from this lack, the Pittsburgh Bureau of Health in relation to existing houses other than tenements, has under state law much the same general authority and obligations as in other cities. Its duty is to have nuisances abated and conditions dangerous to health removed. Specific provisions, however, affecting the proper maintenance of one-and two-family dwellings are almost entirely lacking, although these are found in Pittsburgh in much greater numbers than the tenement houses, and as shown in recent investigations, are greatly in need of regulation. The state laws contain practically no requirements for them except in regard to the cleaning of privy-vaults and to plumbing. There is no city sanitary code. A general state health law of 1895 gives the director of the Department of Public Safety in conjunction with the Bureau of Health, power to prescribe rules and regulations for enforcing the provisions of the act, but the power has never been exercised to frame sanitary requirements for dwelling houses. Dark, damp cellar rooms, wholly under ground, one "town pump" serving as the sole water supply for thirteen houses; water-closets in dark unventilated holes under sidewalks, are examples of conditions found in Pittsburgh, and not definitely prohibited except in tenement houses. An ordinance to prevent cellar occupancy and[Pg 884] to provide for the cleaning up of unsanitary conditions in houses other than tenements was introduced in councils the past year by the Chamber of Commerce, but it failed to pass. Such absence of requirements tends seriously to block the sanitary improvement of the smaller houses. Specific mandatory provisions make for uniform, fair treatment, requiring as much of one house owner as of another. They give efficient health authorities a stronger case in dealing with offenders and make it more difficult for inefficient ones to evade their responsibilities. A code is needed.

... PROSPECTUS ...

THE TENEMENT IMPROVEMENT COMPANY,

Modeled after the Octavia Hill Association of Philadelphia, was formed for the betterment of the housing of the poor of Pittsburgh, for the following reasons:

First. There is no tenement house commissioner in Pittsburgh.

Second. Laws relating to the water supply, sewerage, garbage collecting, overcrowding and use of houses for immoral purposes, are either not in existence or not enforced:

Third. There are within a radius of twenty-five miles of Pittsburgh 35,000 Slavs, 4,000 Bohemians, 30,000 Poles, 10,000 Croatians, 8,000 Ruthenians, 1,000 Russians, 2,000 Servians, 35,000 Italians: these low-class foreigners must of necessity overcrowd the already congested districts.

Fourth. Conditions such as these make for moral and physical contagion, intemperance, pauperism, crime, anarchy and the destruction of the home.

Fifth. This city is already aroused to the necessity of caring for the children before they become criminals, but these efforts are of little value unless strengthened by the influence of decent and respectable homes.

Sixth. Pittsburgh, in proportion to its wealth and prosperity, has done nothing to improve the housing conditions of the very poor.

The Purpose of the Company is to buy, build or remodel tenements in the worst localities, put them in sanitary condition, install tenants of moral character at the same rents paid before and have weekly visits of inspection made by women rent collectors. The Company will agree to manage, on these same lines, tenement houses for property holders on commission.

FOLDER OF 1893.

The beginning of housing reform in Pittsburgh.


An important ordinance, dealing with one unsanitary feature of the city, was passed by councils in 1901. This makes it unlawful to continue the existence of cesspools and privy-vaults on any lot contiguous to a public sewer. A state law of 1901 prohibited the construction of a new cesspool or privy-vault on premises where a sewer was adjacent, and the same prohibition was previously contained in the plumbing regulations of the Bureau of Health, issued in 1895; but existing privy-vaults are made unlawful only by the ordinance of 1901. This provision is of great value. The privy-vault may be tolerated in country districts, but in small city yards, close to kitchens and bedrooms, groceries and butcher shops, its dangers are increased a thousand fold. The risk is especially great where typhoid is prevalent, as is the case in Pittsburgh, where as far back as the health records go the disease has been practically epidemic and where up to 1908 the typhoid rate was higher than in any other city. That the contagion of typhoid fever is contained in the discharges of the patient, and that the specific organism may live in these for a long period is well known, but only in the past decade has the part played by house flies in the dissemination of the disease been emphasized: "Flies are attracted to all kinds of filth. A fly after lighting on the discharges from a typhoid patient thrown into one of the vaults may have on its legs the specific bacteria and can then carry the infection from place to place; it may be to the food of the nearest neighbor, or to that in a nearby street stand or shop, or it is possible it may carry it to a greater distance."

For house drainage, Pittsburgh has a good plumbing code in its detailed provisions similar to those in New York and Philadelphia. It is in the form of a state act, passed in 1901, and responsibility for its enforcement rests in the Bureau of Health. Besides containing strict requirements for new work, it gives the bureau certain important powers with reference to plumbing in existing buildings.

THE FRANKLIN FLATS OF THE TENEMENT IMPROVEMENT OF PITTSBURGH. THE ONLY MODEL TENEMENT IN THE OLD CITY.

Tenement houses,—that is, buildings occupied by three or more families,—are the subject of special legislation. Two tenement laws were enacted in 1903. One applying principally to the maintenance of tenement buildings is enforced by the [Pg 885]Bureau of Health. It forbids the use of tenement cellars for living purposes; a cellar being defined as a "story more than one-half below the street or ground level." It permits living in basement rooms only when they are eight and one-half feet high and are properly lighted and ventilated according to the specific terms of the law, and are not damp or otherwise unfit for habitation. It requires for every room in existing tenements either a window equal in size to one-tenth of the floor area of the room, and opening upon the street or alley, or upon a yard or court, with a sectional area of not less than twenty-five square feet; or else a fifteen square foot window opening to an adjoining outside room in the same apartment. No rooms may be occupied unless they contain seven hundred cubic feet of air space, nor unless they are eight feet high from floor to ceiling in every part, except that attic rooms need be eight feet high in only one-half their area. Overcrowding is prohibited by the requirement that in any room there must be four hundred cubic feet of air space for each adult, and two hundred for each child occupying the room.

In new tenement houses an independent water supply is required for every suite of rooms; in existing tenement buildings, or buildings hereafter converted to tenement use, there must be a water supply on every floor, accessible to all tenants on the floor without the necessity for their passing through any apartment but their own. The space under all sinks is required to be left open, without enclosing woodwork.

A water-closet is required for every apartment in a new tenement building, except that where apartments consist of but one or two rooms, one closet for three rooms is sufficient. In existing tenement houses one closet for two apartments is required, and for existing buildings[Pg 886] converted to tenement use after the passage of the law, one closet for six rooms, but not less than one to a floor. Water-closets located in the yard are permitted where the Bureau of Health considers this arrangement necessary.

MRS. FRANKLIN P. IAMS.

Mrs. Iams, Miss Kate C. McKnight, E. Z. Smith, and other leaders of the Civic Club of Allegheny County, have been among the pioneer workers in housing reform in Pittsburgh.

Cleanliness and good repair of all parts of the house are required. The keeping of horses, cows, pigs, sheep, goats or poultry in tenement houses is prohibited, also the use of any part of a tenement house for a stable or for the storage of anything dangerous to life or health. The keeping of inflammable or combustible material under any stairway in a tenement house is prohibited. The act prescribes fines for violation and makes it mandatory upon the Bureau of Health to employ one or more special tenement house inspectors to inspect tenements and see that the requirements of the law are enforced.

The main points of the law are excellent, but it contains an undesirable feature in placing a premium upon the conversion of existing buildings to tenement uses. There seems scarcely room for question that if the working population of the city must be crowded into multiple dwellings, it is better for it to be into houses constructed and properly fitted for the purpose. But the law encourages the squeezing of three or more families into old, ill-adapted houses, erected for other purposes. A new house may not be built for tenement uses unless it has a separate sink for every suite of rooms, and a water-closet for every suite, or where suites consist of but one or two rooms each, a water-closet for every three rooms; but an old building, not constructed for the purpose, may at any time be made to serve as a tenement house if it has a sink and a water-closet on every floor, regardless of how many families may be occupying the floor, providing only that there is at least one water-closet for six rooms. A landlord may lawfully turn an old dilapidated mill into a tenement as in the case previously cited and provide only two sinks (one in a restaurant) and a yard hydrant for twenty-five families, but if he wishes to build a new tenement for this number of families the law requires him to put in twenty-five sinks.

To aid in the enforcement of the above law there was enacted in 1908 an ordinance requiring all tenement houses in the city to be registered in the offices of the Bureau of Health, and providing penalties for failure to comply.

An act of 1895 established a Bureau of Building Inspection in the city Department of Public Safety. Officials of this bureau are required to examine buildings in the course of construction or alteration, and houses reported in an insecure or dangerous condition. The superintendent and inspectors, as in other cities, are required to be men of practical experience in work connected with building construction, but must not be engaged in such work while holding office. Plans and specifications for all new construction or extensive alteration work must be filed with the bureau, and work of this character may not be carried on[Pg 887] without a permit from the bureau, to be granted within ten days, when the plans and specifications conform to law. Where a permit is refused, the party aggrieved may appeal to a commission, to be appointed by the director of the Department of Public Safety, and to consist of three persons, either master builders, civil engineers, or architects; but authority is in no case granted to this commission to set aside or alter any provisions of the act, or to require the issuance of a permit for a building to be constructed otherwise than as required by the act.

Such a fixed law without discretionary powers granted to the building inspecting officials, or to the Bureau of Appeals, is an important safeguard to the community. The experience of New York affords conclusive evidence of the danger of an opposite policy. For example, previous to 1901, the laws applying to New York fixed a limit to the percentage of the lot which might be covered over by a new tenement building, requiring the remainder to be left vacant, in order to provide proper yard and court space for light and ventilation. But the superintendent of buildings was granted power to modify this requirement, and the result was that it was practically nullified. The New York Tenement House Commission of 1900 examined several hundred new buildings erected under the law, in the Borough of Manhattan, and found that only one per cent had the prescribed reasonable air-space. In theory, discretionary powers have advantages in giving a law sufficient flexibility to meet varying conditions, but in practice, where granted to modify reasonable legislation, they place worthy officials in the difficult position of being obliged to refuse,—in opposition to any influence that may be brought to bear,—to exercise discretion plainly permitted to them, and they open to unworthy officials of all grades innumerable opportunities for corruption and unjust discrimination.

In Pittsburgh the specific provisions in relation to details of building construction are incorporated in the main in state laws, but there are also certain city ordinances regulating building construction. Building requirements affecting sanitation and safety in dwellings for one or two families, apart from those enforced by the Bureau of Health and previously referred to, are few in number, although in Pittsburgh the great majority of the population is housed in buildings of this character, making the situation a vastly different one from that in New York, where seventy-one per cent of the families live in multiple dwellings and the proper control of these is the important matter.

ROBERT GARLAND.

Chairman of the Housing Committee, Pittsburgh Chamber of Commerce.

A few provisions affecting all dwellings, which may be mentioned, are a requirement that beneath new houses cellars shall extend under the whole building and be ventilated from both ends, and that in low, damp, or made ground, the bottom of all cellars shall be covered with bricks, concrete or asphalt, at least three inches deep. Also every new dwelling house must have an open space attached to it at the rear or side, equal to at least 144 square feet clear, unobstructed by any overhanging structure. Proper rain leaders must be provided to conduct water from the roof to the ground or sewer, in such a way as to[Pg 888] protect walls and foundations. There are also restrictions in regard to frame extensions and frame sheds, provisions for roof exits, giving means of escape in case of fire, and requirements for strength of construction.

Comparing Pittsburgh's housing laws with the new building code of Cleveland, Ohio,—a city with somewhat similar conditions, brings out striking defects in the former. For example, Cleveland, for new one-and two-family dwellings, has excellent detailed requirements as to the percentage of the lot which may be covered by dwellings; as to the sizes of courts and air-shafts, the provision of intakes to give a current of air through enclosed courts, the sizes of yards, the minimum sizes permitted for rooms, and the lighting and ventilation of rooms and of water-closet compartments and bathroom. Corresponding to these light and air provisions for dwellings, in Pittsburgh, there is only the requirement of 144 square feet of yard-space at the rear or side. There is no law, ordinance or regulation for houses other than tenements, prohibiting the construction of dark, unventilated rooms and halls, and of the "culture tube" air-shafts,—which have been the curse of other cities.

For tenement houses the building requirements are much stricter than for other dwellings. New houses of this class on interior lots must have at the rear or side at least twenty per cent of the lot left open,—on corner lots ten per cent,—as a yard to provide light and air. This open space must be at least eight feet wide throughout its entire length. Courts between tenement houses or wings of tenements may not be less than ten feet wide. All courts and air-shafts, except vent shafts for water-closets or bathrooms, are required to be open on one side to the street or yard. Every room in a new tenement must have a window opening on the street or on the open space described above. The distance of such a window from the wall or party line opposite must be at least eight feet. The halls on each floor are required to have windows to the street or open space, unless light and ventilation is otherwise provided to the satisfaction of superintendent of the Bureau of Building Inspection. The requirements for the size of rooms and of windows, for basement and cellar apartments and for sinks and water-closets, are the same as in the tenement house health law.

New tenement houses, four stories or more in height, are required to be fireproof throughout. The same penalties are fixed for violating the tenement building law as for violation of the tenement health law. Right of appeal from decisions of the superintendent of building inspection is granted, as in the case of the general building law.

The act does not require that an official certificate that a completed new tenement house complies with the law must be issued before the building is occupied. This important safeguard is entirely lacking. A visitor not long since was in a new tenement house in Pittsburgh, occupied by a number of families, with the usual quota of children. The house had been let and the families had moved in, although the building was by no means completed, and there were even no balusters on the stairs, which were entirely open on the side, creating an extremely dangerous condition, especially on the third floor. In this house, too, no fire-escapes of any kind had been supplied. The writer has also seen a number of other new tenement houses fully occupied, but without any proper means of escape in case of fire,—contrary to law. The discretion allowed in the tenement building law, in regard to hall lighting, is another dangerous feature, although less important than the absence of the certificate requirements.

In addition to the tenement house building law, there are several acts relating to fire-escapes on tenement houses. A law of 1885 requires a tenement building three or more stories in height to have outside iron fire-escapes, with balconies and slanting stairways, except where the authorities permit some other kind of escape. The number and location of fire-escapes is not definitely provided. They are "to be arranged in such a way as to make them readily accessible, safe and adequate." A law of 1889 requires, in addition, that at least one window in each tenement house room above the second floor be provided with a [Pg 889]chain-rope long enough to reach the ground or with any other appliances approved by the Board of Fire Commissioners. The same act requires the lighting of tenement house halls and stairways at night and the burning of red lights at the head and foot of each flight of stairs and at the intersection of all hallways with main corridors; and an alarm or gong ready for use and capable of being heard throughout the building is also required.

It will be seen at once that the wholesale discretionary powers granted in regard to the enforcement of the above fire-escape provisions make it easily possible for them to be nullified.

Finally, the removal of garbage, which has an important relation to the sanitary condition of the houses, is insufficiently regulated in Pittsburgh. A state act, and subsequent city ordinance, authorize the Bureau of Health and Department of Public Safety to provide for the removal of garbage. How frequently it shall be removed is not specified by law. Specifications of contract are that it be removed daily from markets, hotels, etc., and three times a week in the closely built up wards, and twice a week in the outlying wards. Nearly two-thirds of the annual appropriation for all the work of the Bureau of Health is expended in paying for this service. The carrying away of ashes and rubbish has up to the present time in no way been regulated by law. A step looking in this direction has been taken during the past year, however. On recommendation of the superintendent of health an ordinance authorizing a bond issue for the creation of furnaces for the final disposal of rubbish has been passed by councils and voted for by the people and specifications relating to these are now being drawn up.

The beginning which has thus been made in the line of recognizing housing dangers and of framing state legislation and city ordinances to meet them affords a basis for the development of a consistent public policy in this field.

ONE PITTSBURGH TYPE OF ONE-FAMILY HOUSE.

Row of five new one-family brick houses, opposite Fort Pitt Malleable Iron Works. Five rooms in each house; bathtub and closet; sink in kitchen. McKees Rocks.

PLAY IN SKUNK HOLLOW. THE BALL TEAM.


SKUNK HOLLOW
A POCKET OF CIVIC NEGLECT IN PITTSBURGH

FLORENCE LARRABEE LATTIMORE

MEMBER INVESTIGATING STAFF, RUSSELL SAGE FOUNDATION

[Pg 890]

The main thoroughfare is respectable and non-committal. It offers but one clue to the melodrama, the violence and misfortune, which its brick fronts so innocently conceal. This clue is a narrow, dusty alley-way, which cuts through the brick fronts, runs back about eighty feet, and then turns sharply to the left and takes unto itself the name of Ewing street. Ewing street runs along the edge of a valley called Skunk Hollow. It pursues a serpentine course between two irregular rows of shacks,—the one back to back with the preoccupied brick houses, the other balancing itself uncertainly on the edge of the valley,—and finally ends in a number of branching foot-paths. This street and Skunk Hollow below it, both effectively shut off and concealed from casual inspection by the row of brick houses, are bound up into a pocket edition of civic neglect.

One cannot tell, without inquiry, whether the shacks on Ewing street are for horses, cows, or human beings; it is said that the owners do not care, so long as the rent is paid. But whether it is the desirability of being in a "dead-head row" commanding a view of the valley, or the advantage of having a house which while showing but one or two stories above the street, takes a private drop of one story in the rear and accommodates itself to the abrupt decline of the cliff, there is no doubt that the cliff-edge structures are far more popular than their stunted neighbors across the way. In them one finds the most desirable clinical material for a study of Pittsburgh's ills, all in one well packed group of abnormalities. Do you wish to see the housing problem? You need only follow Ewing street its short length of a city block and observe. The level of one side of Ewing street and the characteristic drop of the other, have brought out two typical forms of Pittsburgh architecture described by a resident small boy as "squatters" and "clingers." Together they form the nondescript shelters of a parasitical class of persons, white [Pg 891]
[Pg 892]
and colored, unassorted. In such fantastic and general dilapidation are these rows of unpainted shelters that some of them are falling to the ground without the formality of condemnation proceedings. Most of them have running water in the kitchens; a very few have sanitary toilets and shout the fact on black and white rental signs. Cellar rooms abound and are often used as sleeping rooms; in those houses built together into a block they are windowless. The toilets back of them are in the old boxed battery style, unflushed, and send their contamination down the grooves of the slope to Skunk Hollow at the bottom.

LOOKING DOWN ON SKUNK HOLLOW.

Luna Park is seen on the skyline at the right.

A FIRMLY ENTRENCHED SHANTY, FRONTING ON NO ROAD BUT GUARDED BELLIGERENTLY BY ITS COLORED OWNER.

The hollow, reached by sewage through winding crevices in rubbish, and by goats and dogs over hills of tin cans and refuse, is reached by the people themselves down flights of decaying steps. In the street at the bottom, a wooden surface drain goes companionably along side by side with the foot-path. Occasionally a trickling stream from the hill joins forces with it and the whole falls at last through a basket-drop into an open sewer. The disheveled exterior which gives Ewing street the personality of a gang-leader with his hat on one side, is not so marked in the hollow. The hollow has a kind of sullen reticence. Here sanitary conditions are, if possible, of graver aspect. It is literally a cesspool.

In this cesspool is a strong and dangerous community life. Till now you have been absorbed in the setting of the neighborhood, but now, as you begin to observe the people who slouch past you, you note that they correspond to their environments. The rakish aspect of Ewing street, and the morbid silence of the hollow are reflected in the manners of their respective inhabitants.

On Ewing street, one of the first houses you visit is reached by a drop of five or six broken steps, and looks like a bowling alley shack. It is long, narrow, and has two small windows and a door in the street end. On the porch is a notorious colored woman, raided out of the worst houses in Pittsburgh, ready to toss out her fine and pass on, when temporarily hindered by arrest. Tacked to her piazza is a sign informing the passerby that religious services are held within, and pasted around the dilapidated smokestack is the sign "To let." "Nobody came as long as it was a mission," said the patrolman, "they do come now. Always booze on Sundays there; nothing but crime." The old colored[Pg 893] aunty, who owns a little cabin next door in the rear, tells you later with bulging eyes and darkey gesticulation, that the real trouble is that the ghost of Charlie Barber who died there two years ago, comes back nights and by flinging up the windows and banging the door, breaks up both services and carousels. She says he has driven most of the colored ladies "plumb spiritualistic" and that "Mrs. K——, a white, Irish lady in the next house but one, goes to meetings in the city three times a week and spends so much for collections that her children have no shoes to wear to school." Sure enough you find the children shut up in the house; the father, a laborer, out of work; the mother doing a washing. "Truant officers? What are they?" she asks. In the back yard of this home lives a red-turbaned colored scold, owner of a much coveted hydrant upon which four families are dependent for water. Her house is a fenced-in triangle on a trackless waste of rubbish. It is to be approached only by original methods. The neighbors, however, say that it is on "Christian street." They say that the owner sells out little plots here and there on the hillside for a hundred or so dollars apiece. Most of the houses are owned by the tenants, the lots having been sold to them unimproved by old Pittsburgh estates. Building permits for frame dwellings have been refused, and, as the owners cannot afford to build with brick they stay on in shanties too far gone to improve. No sword wielded in defense of a feudal castle was ever more keen than the tongue of the turbaned owner of this estate on Christian street as she raises her black fist over the fence and dares you to swing her gate!

A SKUNK HOLLOW DAIRY.

The cows live in the boarded up shed. The surface drains running beside the walk, empty into the well from which the people draw water.

Next to her is a burnt-out shell of a four-family house; no attempt is being made to prop it up or tear it down, and it hangs there towards the street with [Pg 894]uncertain intentions. The owner will tell you that it "was fired on a dark night,—not by a friend," and then he will shrug his shoulders and mutter something about the neighborhood. He sits on his little stoop all day, this owner does, in his Sunday suit and best hat, replete with darkey respectability. Crutches are beside him and his feet are bandaged. Sitting near him, like a jack-knife on the point of snapping shut, is an old black mammy, her eyes glazed with coming blindness. She wears Prunella gaiters, a calico gown, and a sunbonnet with a wide limp frill, and is as much a personification of the old South as the man is of the new. She points fondly over her shoulder to her two stuffy rooms, crammed with knick-knacks, and tells you they must go under the hammer next week unless she can get help. This young man here would pay her a rent of eight dollars a month for three rooms, but he is just out of the hospital and unable to work. His leg was crushed in the steel mill six weeks ago and not one penny has been sent him yet by his bosses. Both of them are living on credit and hope. The neighborhood isn't very bad, they say, "although there are some very disbelieving people in it." But they don't know a better, where folks would let out to niggers.

So far then we have found instances of bad streets, unsanitary housing, trade accidents and the race problem.

Then one comes to a house, one story high at the street two at the rear, which has two rooms opening in front and two toward the hollow. In these rooms live an Irish widower and his two children of ten and twelve years, together with a miscellaneous lot of colored people. They quarrel, and have to be watched by the police.

A step farther we meet a Scottish mill laborer out of work. He proudly points to the playhouse he has built for his two little girls "to keep 'em off the street." It is set up against the toilet, but that can't be helped. The mixed family next door pick rags "and carry on" in the shed hard by. The woman there has "chronic tonsilitis" which is dangerous for the children. The mother wishes there was some better place for the children to play.

Up to this point one feels that this is a settlement of mill-ends; mill-ends of people, living in mill-ends of houses, on mill-end jobs, if they work at all. It does not seem possible that anyone could come to live on Ewing street from deliberate choice. With something of a start one finds, in this row of demoralization, a home just vacated by a charitable agency for the help of colored children. It was a temporary home for boys and girls and babies, occupying the ground floor and basement of a house unsanitary and dark, having no gas, no running water, and no yard, only a rickety back stoop, offering an unparalleled view of Skunk Hollow. In a middle room, dark except for one outer window and one cut through into the back room, slept eight or ten children two in a bed, feet to feet, boys and girls from infancy to twelve years. The institution has gone now to a better neighborhood. This particular house hasn't a bad name; it was the one further down that was raided last month. Two under-age girls were found there, but the madam got off with a fine and the girls disappeared. Some other people of doubtful credentials are moving in; maybe they are good and maybe not. They are carrying in their household goods now. They do not look unlike the others of the neighborhood. A thin colored woman stands off and watches, rocking her baby in her arms. She is seized with a fit of coughing, and turns into the dark doorway of her shack. One does not need to follow her to know that she represents one more city problem.

The vantage point for a view of Skunk Hollow seems to be the back stoops of the clingers on the edge of the basin. Here one becomes aware that the hollow is a public dumping ground of ashes and tin cans. As wagons drive up and drop their contents the air itself becomes full of refuse. An occasional thin stream of water trickling down from where you stand. This is the Ewing street sewage making its way to the bottom of the valley.

INSTITUTIONAL CHARITY IN SKUNK HOLLOW.

[Pg 895]

The hollow seems to follow the bed of an old river; it winds away around a huge hill of gravel where two railroads lie. On a delta between the railroad tracks, the boys have improvised a playground. Farther along there is a straggling bunch of houses. You notice a little girl washing clothes on one of the back piazzas. A little boy runs out and cuffs her until she runs into the house crying, and a man comes out and chases the boy. The boy climbs a neighbor's fence and vanishes. A colored woman and a white woman are seen on the path that winds through this settlement; they go into one of the houses and shut the door. An Italian comes out of the same door a minute later, and walks off down the railway track. The rears of these houses present another solid line of reeking, broken-down toilets with box vaults, unflushed, on platforms built level with the rear floor of the houses. Tucked in between disreputable families of the lowest type are, here and there, bright faced thrifty Italians. Two families have been brought to Skunk Hollow from respectable neighborhoods because of the hard times. In one of their houses renting for nine dollars a month, the rear room is a ten by six, cubicle, with a two by two window in it directly opposite and two feet away from the doorway of the toilet. The air? Well, the window has a solid shutter and when that is closed the air isn't so bad and keeps out disease. As the mother talks, two little chained dogs bark at the babies loaded on her arms, and on the edge of the railing, which prevents the unwary from stepping off the platform into a landslide of rubbish below, fruit and clothes are drying, macaroni is soaking, and busybody flies are hurrying from one thing to another. Any typhoid? Oh yes, the grandmother died with it, and one of the children had it, but was taken to a hospital and got well.

Towards the end of Neville street, in the heart of the hollow, we come to a back yard. The house, for its own reasons, prefers to front on the railroad. In the yard is a large shed patched with odds and ends of all sorts of boards, layer upon layer. The people in the house,—most of whom are "women boarders",—say it is used just to put things in. As a venture you suggest cows? Yes, there are cows there, three, the milk is sold for the babies in the neighborhood. The man says the cows "graze upon the hills around the hollow." He glances at the hills and laughs. It is true the cows haven't grazed there this summer, and in the winter it is best for them to be in a warm dark shed.

As we climb back up the stairs in the late afternoon, we meet the lamp lighter[Pg 896] going down with his ladder. Early? Yes, but it is not well to go into the Hollow as late as dusk. There are only sixteen lamps there,—soon lighted, but people have their own reasons for turning them off and few of them burn till morning. The hollow doesn't wish the light. At the end of Ewing street, by the alley of entrance, stand two patrolmen. They are side by side looking meditatively down into the valley. They are watching for the little boy who climbed the fence. "He's a Juvenile Court boy named Matthew S——," they say. "He's home on probation. It's a queer thing about the Juvenile Court, it takes children away and locks 'em up because the neighborhood's bad, and then it sends 'em home on probation." These men, without knowing it, were asking for a single judge for the Juvenile Court. "He promises to do right," one of them continued, "but they ain't enough probation women to see that he does keep straight and he's the worst one we've got on the beat." This one was asking for an adequate number of probation officers. "Now, do you see that tight, brick house down there beyond?" they asked. "That's a colored disorderly house,—run for booze. That little white girl who's washing on them steps goes there all the time. She stays out nights,—away from home. The father works hard and brings home all his money; but the woman,—she don't care. Ain't the Juvenile Court no way of catching the mother? She ought to go to the workhouse." He was asking for an enforcement of the adult delinquency law. The conversation ran on and the patrolman told more of the affairs of Skunk Hollow. He told of speak-easies, and hang-outs of all kinds, masked under the appearance of small grocery shops. At the foot of the stairs, he said, an Italian interpreter was found dead within the year, struck from behind by an Irish-American. The man smoking there and talking to the little girl over the fence had done it, but there was no evidence. Two little children belonging to the colored woman who keeps the disorderly house were playing in the dust. The patrolmen were letting them stay home until they could get them in a raid. "Where do you suppose they'll bring up?" one of them said. "The mother won't get more than a fine and she can pay it."

"Now watch the boys!" said the other. "Here comes a freight." The train wound slowly into a nest of little boys playing ball. After it had passed there was not a boy to be seen. "Catching rides" said the patrolman with an appreciative chuckle. "They'll go round the hill and come back by way of the main street. Then I'll chase 'em in for playing where they ain't no right, and back they'll come to Skunk Hollow. I wish I had some other place to send them." The playground problem again!

On the skyline around the hollow the church spires stood out blacker than the smoke in which the valley was shrouded. An American flag waved from the school house on the main thoroughfare, and the fanciful towers of Luna Park peered jeeringly into this pest hole of neglect. "Shame, ain't it?" said one of the patrolmen.

FOUR TYPES OF HOUSING ILLS IN MILL TOWNS

SCHOEN: Box-like rows of company houses with out-buildings between.

DUQUESNE: Filthy wooden-drain and yard hydrant.

McKEESPORT.

Strawberry Alley, Interior Court of Jerusalem or "Bowery." The hydrant at the right was in close proximity to octagonal privy structure and was only water supply for the entire court. On the date the photograph was taken, the hydrant had been out of business for two days and tenants had carried their water from another court across the street.

BRADDOCK.

Rubbish in rear yard of Willow Alley; where the children play. Two hydrants and two vaults are expected to equip thirty apartments.

PAINTER'S ROW
THE STUDY OF A GROUP OF COMPANY HOUSES AND THEIR TENANTS

Drawn by Joseph Stella.

Drawn by Joseph Stella.

PAINTER'S ROW AS IT STOOD IN THE SPRING OF 1908.

[Pg 897]

PAINTER'S ROW

THE UNITED STATES STEEL CORPORATION AS A PITTSBURGH LANDLORD

F. ELISABETH CROWELL

FORMER SUPERINTENDENT, ST. ANTHONY'S HOSPITAL, PENSACOLA, FLORIDA.

[Pg 898]

The United States Steel Corporation owns property on the South Side of Pittsburgh just beyond the Point Bridge. Here is located the old Painter's Mill, which is one of the plants of the Carnegie Steel Company, which in turn is one of the constituent companies of the United States Steel Corporation; and here, also, stands what remains of Painter's Row, where the company has housed certain of its employes, mostly immigrants. When the Carnegie Steel Company took over Painter's Mill, it renovated the plant so as to turn out the sort and quantity of output which the Carnegie name stands for. When it took over Painter's Row, it did nothing. When, a little over a year ago, and several years after the purchase of the property, I made a detailed investigation of the place, I found half a thousand people living there under conditions that were unbelievable,—back-to-back houses with no through ventilation; cellar kitchens; dark, unsanitary, ill-ventilated, overcrowded sleeping rooms, no drinking water supply on the premises; and a dearth of sanitary accommodations that was shameful.

Painter's Row was originally a succession of six rows, some brick, some frame, built on the side of a hill that slopes from the foot of a lofty palisade down to the Ohio. Houses and mills immediately adjoin and tenants are even housed in an old brick building, in another part of which some of the mill offices are located. Sluggish clouds of thick smoke hang over the cluster of roofs and the air is full of soot and fine dust. Noise presses in from every quarter,—from the roaring mill, from the trolley cars clattering and clanging through the narrow street which divides mill and rows into two sections, from the trains on the through tracks above the topmost row and from the sidings which separate the lowest row from the river bank and which are in constant use for the hauling of freight to and from the mills.


(The story of Painter's Row should be considered in its bearings. The United States Steel Corporation is building a remarkable new town at Gary, Indiana; its subsidiary companies have promoted house building along original lines, notably at Vandergrift, Ambridge and Lorain, and the Carnegie Steel Company has fair, low rental houses at Munhall and elsewhere. On the other hand, other Pittsburgh corporations own company houses which have been equally as bad as Painter's Row; and a similar story could be written of a shack at one time owned by one of the foremost Protestant churches of Pittsburgh, and razed to the ground only because the headworker of Kingsley House had the courage to publish its picture and the name of the owner.

We have no animosity in singling out one corporation; but we have a very serious purpose in detailing the facts as to this row of company houses. There is ground for difference of opinion from a business as well as a social point of view, as to whether it is desirable for an industrial corporation to own and rent homes to its employes. But if industrial chairmen, presidents and superintendents become landlords, they must bear the responsibilities of landlords; and only as the public holds them up to these responsibilities as stiffly as their stockholders hold them up to dividends, will they be in position to devise and carry out policies which, as individuals, we may assume they would act upon. This story of one high-spirited New England stockholder and 500 company tenants indicates, moreover, that some investors are willing to lead the public in such demands.

With the standards it is setting at Gary, the United States Steel Corporation cannot afford to be responsible for such conditions as these at Painter's Row, whether in the Pennsylvania steel district, at its mines in Northern Michigan, or at its plants in the South. For the Survey to have selected a lesser, independent company for criticism, would have been to lay ourselves open to the charge of fear of the big offender; for us to have found a more humanly destructive group of bad houses, would have been impossible.

DIRECTOR OF THE SURVEY.)


WEST CARSON STREET AT TIME OF FIRST INSPECTION.

Tenements of Painter's Row at left; nine families on first and second floors without toilet accommodations. One-family houses at right.

WHERE THE TENEMENTS WERE TORN DOWN.

Present site of row shown in picture on opposite page. Closets and sinks installed in topmost row, tenants of which formerly had to go 360 steps to get water.

Dirt and noise are inseparable adjuncts to life in a mill district, deplorable, but unavoidable; but workers in the mills [Pg 899]
[Pg 900]
[Pg 901]
[Pg 902]
need not necessarily be deprived of sufficient light and air such as it is, and water, and the common decencies of life. In the winter of 1908, I spent several days in Painter's Row. I watched grimy little children at play. I talked with the women, the home-makers; I saw men who had been working on the night shift lying like fallen logs, huddled together in small, dark, stuffy rooms, sleeping the sleep of exhaustion that follows in the wake of heavy physical labor. Above all, I sought to learn how the tenants fared in these three things: ventilation and water and sanitary conveniences.

CELLAR BED ROOM.

Windows entirely below passage level, showing how some households maintain standards against difficulties.

PASSAGE AND AREA.

Showing below at right windows of cellar bed room shown above.

THE "TOWN PUMP."

Drinking water supply for 568 people living in Painter's Row; and for the operatives in the mill.

In the two rows nearest the river, there were twenty-eight houses divided from cellar to roof by a party wall, so that the rooms in each apartment were arranged one above the other; the result was that there was no through ventilation, and consequently the rooms were ill-smelling at all times and stiflingly close in summer. There were in the different rows, twenty-seven cellar and basement kitchens, dark, unsanitary, ill-ventilated. Besides these, there were six cellar [Pg 903]
[Pg 904]
rooms more than halfway below the ground level, that were occupied solely as sleeping rooms. The windows of these cellars were small, and the little light and air that could gain admittance under the best of circumstances was obstructed by a row of ramshackle sheds which bordered the narrow area upon which these windows opened. There were many other gloomy rooms which it would be but repetition to describe. But the tale of dark, ill-ventilated sleeping quarters would be incomplete without passing mention of a space under a staircase that had been walled off and that was entered from a kitchen. Into this "hole in the wall" a bed had been squeezed by some hook or crook, and there two boarders stowed their bodies at night. I found the worst overcrowding in the row at the top of the hill. In one apartment, a man, his wife, and baby and two boarders slept in one room, and five boarders occupied two beds in an adjoining room. In another apartment of three rooms, the man, his wife and baby slept in the kitchen, their two boarders in a second room; and the third room was sub-let and occupied as a living and sleeping room by five persons,—a man, his wife and child and two boarders. This last room was a small one, containing two beds, a stove, table, trunks and chairs. Once inside, there was scarcely room to turn comfortably.

Not one house in the entire settlement had any provision for supplying drinking water to its tenants. Mill water was piped out to the rows,—an ugly, dirty fluid, which, however tired or thirsty they were, the people would not put to their lips. I asked the question at every doorstep and got the same reply. They went to an old pump in the mill yard,—360 steps from the farthest apartment, down seventy-five stairs. This "town pump" was the sole supply of drinking water within reach of ninety-one households, comprising 568 persons.

PIPE EMPTYING MILL-WATER INTO OPEN DRAIN BETWEEN ROWS.

The water pumped from the mill was used for cleansing purposes. When the pressure was low, there was none even of that to be had. In only two cases was this wash water piped directly into the house. Tenants in the other houses carried it from bent pipes that emptied into open drains running between the rows, or into troughs at the end of the buildings, whence it had to be carried up two or three flights of stairs if they happened to live in the upper stories. From these same apartments the waste water had to be carried out and down and emptied into the drains. The marvel was not that some of the homes were dirty; the wonder was that any of them were clean,—for against such obstacles cleanliness was to be secured only at the expense of tired muscles and aching backs. I talked with one mother whose two rooms on the top floor were spotless, and whose children were well looked after. Day after day, and many times a day, she carried the water up and down that her home and her children might be kept decent and[Pg 905] clean. I looked at her bent shoulders, gaunt arms and knotted hands. Work aplenty,—necessary work,—there was and always will be for her to do, but those shoulders and arms and hands had to strain laboriously over unnecessary work as well. "God! Miss, but them stairs is bad," she said.

As was said at the beginning, when the Carnegie Steel Company took over Painter's Mill, it renovated the equipment of the plant; when it took over Painter's Row, it did nothing.

One row of four houses had waste sinks in the apartments and another row of one-family houses had a curious wooden chute arrangement on the back porches, down which waste water was poured that ran through open wooden drains in the rear yard to the open drain between this row of houses and the next. A similar arrangement had been made for the convenience of six families living in the second story of the row of tenement houses, where two wooden chutes from the porch above carried the waste water down to the curb at Carson street. They carried other things besides waste water,—filth of every description was emptied down these chutes,—for these six families, and three families below on the first floor had no closet accommodation and were living like animals. Some families disposed of slops and excreta in the way just indicated; others used a bucket containing ashes, which was emptied into a wooden garbage bin on the street at the end of the row of houses.

Officials of the mill company, when this condition of affairs was pointed out to them, replied that the vault in the rear of this row of houses was built for the use of these families as well as for the other nineteen families in these two rows, and that they could secure a key to a closet compartment by applying for it at the offices. As a matter of fact these people had never been offered keys and they volunteered the statement to the investigator that they had no closets. The vault just mentioned was halfway up the hill between these two rows of houses. To reach it, anyone living in an end apartment in the second story front would be obliged to walk half the length of the second story porch to where the inside stairs led down to the street, then along the street (for the sidewalk was but two and a half feet wide, and completely covered with old lumber and debris of every description), then up a difficult flight of outside stairs, steep and with narrow treads, then two or three steps on the level, then more stairs, and so on until one had taken a hundred and eighty-six steps, sixty-five of which were stairs. This was called "closet accommodations" for want of a better term.

WOODEN CHUTE FROM A SECOND STORY GALLERY, DUMPING ITS FILTH AT THE CURB ON CARSON STREET.

[Pg 906]

THE LOWER ROWS IN 1907.

Showing frame two-family dwellings between Carson street and the river. Open drain between the rows; bad surface drainage. Twelve families at right had no toilets.

ONE YEAR LATER: THE ROWS TORN DOWN.

[Pg 907]

Equally bad conditions prevailed in the row of houses nearest the river. Closets for these houses were formerly located across the railroad tracks on the edge of the bank. During the flood in the spring of 1907, these were swept away and had never been replaced. The twelve families living in this row also used buckets and emptied the contents into the river. One family in the next row of houses claimed that they had never been given a closet key. In all, twenty-two of the ninety-one families were living without the first elementary conveniences that make for sanitation. The full evil of this state of affairs is not really clear until one remembers that these families were occupying two-and three-room apartments, nearly all of them having several children, and anywhere from two to five boarders each.

It is fair to ask, why even immigrant laborers put up with such conditions? To the minds of the men, for two very good and sufficient reasons. The houses were near the mill and rents were cheap. The ledge of land along the foot of Mt. Washington affords few building sites; and the Painter's Mill section is, perhaps, the extreme example of the general housing-shortage of the South Side. Men who work in heat, work ten or twelve hours a day, and work at night alternate fortnights, want to live near the mill. Especially is this true of day laborers who work on repair gangs and cleaning-up work, and who may be called out at any time. This is as true of the mill towns, as of the working force of such a plant as Painter's Mill, in the heart of the city. On the other hand, the mill management wants these men there, for just such emergency calls. The rents in Painter's Row averaged $2.40 a room monthly,—cheaper by far than these laborers could secure accommodations from ordinary landlords in many other sections of Pittsburgh; and that is a dominating consideration to a man with a family, earning $1.65 a day, or a single[Pg 908] immigrant whose whole purpose in coming to America is to make money and who will stomach any personal ills to hold on to it. On the other hand, it must be borne in mind that these rents aggregated the company over $7,000 a year. Such an item is a bagatelle in the balance sheet of the United States Steel Corporation; and it would be foolish to suppose that the rows were rented out to their employes as a money making scheme. They were rented out on easy terms to keep laborers within call at any hour of the day or night, and the fact that Painter's Mill is an old plant and likely to be abandoned, no doubt influenced the management in holding the housing property as it stood without rehabilitation. But the fact remains that these rentals amounted to a sum nearly sufficient to pay the whole taxes on the Painter's Mill property, mill, equipment, land and houses.

DARK COVERED PASSAGE WAY THROUGH WHICH WOMEN AND CHILDREN WERE OBLIGED TO GO TO REACH PUMP IN MILL YARD.

To-day, the situation in Painter's Row is very different. Three rows of houses have been torn down, and radical improvements made to others. A variety of factors entered into this change and the story is worth the telling. The evolution of social consciousness is interesting, whether in an individual or a corporation. The initial factor in such a development may be one of several,—motives of self-interest, the weight of public opinion or the letting of light into dark places. Motives of self-interest did [Pg 909]not suffice to make the Carnegie Steel Company a good landlord in the present instance. In other words, the company had not recognized it to be worth while as a business consideration to house its human machinery with a view of maintaining such machinery at its highest state of efficiency. Its mills, with their equipment, were repaired and improved in order to increase the quality and quantity of their output. But common laborers were too easily replaced for an effort to be made to conserve their health or well-being by repairing or improving these houses in which they lived. If ten men fell out, ten more were ready to step in and fill their places.

PAINTER'S ROW TO-DAY.

Privy and open drain. Stagnant waste water, garbage, and mill building of the United States Steel Corporation.

But Painter's Row was not the only instance of bad housing in Pittsburgh. Other landlords were equally indifferent, and evil housing conditions were found all over the city. In March, a preliminary report on general housing conditions in Pittsburgh was published by the Pittsburgh Survey. One paragraph dealt with conditions in Painter's Row. The fact that the responsibility for the situation there could be fixed directly upon one of the great corporations enhanced the value of the paragraph as a quotable news item, and Collier's Weekly seized upon it as a text for an editorial. The editorial brought it under the eye of a New England stockholder whose New England conscience was stirred. His protest at the United States Steel headquarters in New York brought from there a communication so favorable to the company that he felt justified in criticising the editors of Collier's for their apparently unwarranted statements; and they, in turn, called upon the Survey to substantiate the quotation. In support of this paragraph, which was but a few lines long in the published report, the full details of how things stood at Painter's Row, as I have put them down here, were transmitted by the editors to the inquiring stockholder. He was aroused, convinced and in position to[Pg 910] lodge another protest, this time with the facts behind it. Light had been let in.

Meanwhile, pressure was brought to bear upon the owners of Painter's Row from a second quarter. The health authorities were insistent that all houses occupied by three or more families should be altered so as to conform to the requirements of the tenement house law, thus making mandatory the installation of sinks and water-closets in such houses. This also involved the cutting of windows in half a dozen gloomy cellar rooms in one building, in order to procure the required amount of light and ventilation, a structural change which would have so weakened the supporting walls of the building as to have rendered it unsafe. The windows were not cut, the sinks and closets were not installed; instead, the building was razed to the ground,—the best possible thing that could have happened. Two other rows of two-family houses were also demolished. They were old, ramshackle, frame buildings, not worth repairing.

Last fall, I inspected Painter's Row for the second time. I found the noise as incessant, the smoke and dust as penetrating, as nine months before. The children were as grimy but they were fewer in number, for as a result of these changes the settlement had been reduced to twenty-eight families. When I reached the topmost row of houses on the hillside, my inspection partook of the nature of a triumphal progress. Some of the tenants remembered me. Gleefully they showed me their sinks with drinking water in every apartment, and told of the closets that had been installed in the basement. Every fixture was clean and in perfect condition,—a refutation of the old argument that such people unaccustomed to these conveniences in the old country will not care for them when supplied.

I found a like state of affairs in another building formerly occupied as a tenement, now housing but two families. Here also sinks and inside water-closets had been installed.

By so much, then, had life in Painter's Row been made more tolerable. Two rows of one-family brick houses remained untouched. The families living in these houses continued to get along without drinking water on the premises and continued to use outside privy vaults; a few were occupying cellar kitchens. In one row, waste water and garbage were still emptied down wooden chutes leading to open drains through the yards. The result was odorous and unhealthy.

Much had been accomplished, something still remained to be done. The company which had gone beyond the requirement of the law in some things still fell short in others. Sooner or later, the health authorities would force the removal of the privy vaults. The old pump had served Painter's Row loyally and well, and would continue to serve it as long as the bucket brigade moved back and forth between these remaining houses and the mill-yard for their water. Sometimes a little child trudged along with a great pail half filled. Again, it was the man of the family, tired after a hard day, who brought in the ration of water.

In a way, that big, grimy pump with its old iron handle and primitive spoutings, summed up the Painter's Row situation,—of an industry of great mechanics who could overhaul an old plant and make it pay, but had not brought water a few paces up the hill, or dropped a sewer a few paces down to the river below that men and women and children might live like men and women and children.

THE "HOLE IN THE WALL."


LITTLE JIM PARK

LEROY SCOTT

AUTHOR OF TO HIM THAT HATH, ETC.

[Pg 911]

I had taken a car over to Painter's Mill and Painter's Row and got off at the farther end of the dingy, smoke-hung settlement. I went through and about the houses which the great Carnegie Company leases to its workers (with no trouble about collecting the rent, for that is taken from their wages),—houses so close to the mill, some even wall to wall with it, that they share almost equally with the mill its smoke and grime and clangor,—houses which had been as unsanitary and disease-breeding as any I have ever seen offered the poor even by hardened slum landlords. And then, after I had gone through the rows of houses, at the end of the settlement nearest Pittsburgh, I came upon a sudden contrast. It was an open space, with a portion of it canopied, and over the canopy this black-lettered sign:

LITTLE JIM PARK

It wasn't much of a park,—just a little bit of ground, in area hardly more than an average city lot, with a second-hand iron fence around it, with rough benches, a pavement of tan-bark and a few flowerbeds bordered with whitewashed bricks. A poor, pitiably insignificant little place,—yet startlingly pleasant when compared with its surroundings. On the one side, with a row of dreary houses between, rumbled and belched the mill; at its back was a littered waste; at its front, across the street, was a steep hill topped by the ramshackle houses of Stewart's Row, and this hill was muddy, stubbled over with lank dead weeds, gullied with foul-looking, foul-smelling streams of waste water and garbage.

I entered the park, sat down beneath the canopy, and my imagination proceeded to explain how the park had been established. Its name was a certain clue. "Little Jim Park,"—that fairly[Pg 912] reeked with ultra-sentimentality. Some rich woman had been emotionally stirred by the stories of the cheerless life of tenement children,—the Little Jims and the Little Rosies; she had chanced to see how especially cheerless the life of the children of Painter's Row; she had established the park, and given it as title the more or less generic name by which tenement children are known to sentiment, "Little Jim."

I had just credited the park to my Lady Bountiful,—had just finished with Romance,—when Realism sauntered into the park and took the other end of my bench. He was a working man, whose decent clothes and white collar told me this was his day off. His coat collar was turned up, his slouch hat pulled down. One jaw stood out with a quid of tobacco, and his face was deeply wrinkled. He was perhaps twenty-one.

"Won't you tell me," I asked, "who gave this park to Painter's Row?"

He smiled good-naturedly at me. "Who give it? Nobody give it."

"Then how did you get it?"

"We took it," said he.

"Took it! But the name,——?"

"Oh, we just took that, too."

Here was something new in the park-building line. I drew nearer. "I wish you'd tell me about it," I asked.

"Sure, I'll tell," said he, and I could detect pride in the park in both the young fellow's tone and manner. He tossed his quid down upon the tan-bark. "Used to be a little old church standing here. Little Jim church they called it, Queer name for a church, wasn't it? Damned if I know why they named it that. For the last five or six years it wasn't used at all, and last spring it just collapsed. The Hunkies come scramblin' over it and carried away all the wood to burn, and what was left was certainly a mess.

"Well, I don't know just who started the idea,—I guess it was John Donohue and Jim Leary (they works around the rolls in the mill),—but pretty soon a lot of us guys had decided it would be great if we could clear up the place and make a park. So we started at the job, and when any of us was laid off over at the mill we was workin' here. The iron fence we got when they tore down part of Painter's Row,—it was just old junk you know; the bricks 'round the flower beds were some left over from buildin' a brewery down the street, we just helped ourselves to 'em; the arch over the gate we made out of an old pipe; the flag-pole there used to be a pump handle of a barge pump down on the river,—we swiped that; the ball on top of the flag-pole a carpenter give us. We chipped in and bought this tent, and we chipped in and bought a flag. The first one was whipped to pieces by the wind and we had to chip in and buy another before the summer was over. Then we set out some flowers, splashed around with some paint and whitewash, and the park was done. The name of the church seemed sorter to belong to the place, so we called it 'Little Jim Park.'

"The park was what you might say opened on Decoration Day when the kids come in and sang and performed. It was a great place for the kids to play all summer, and a fine place for us to sit around of evenings and chin and sing. Never had nothin' of the sort here before, you know. But the big show here at Little Jim Park was Old Home Week, when we had it all fixed up with buntin' and had it lit up of nights. I guess the park ain't much to look at just now, for the geraniums have all been took up, and the fellows are takin' care of 'em in their houses through the winter. But in summer, when the flowers are out, and things are fixed up, I tell you what Little Jim Park looks mighty good to Painter's Row!"


Somehow, when he had finished, this little park, a park by the people, seemed to be a thousand fold more beautiful, a thousand fold more significant. It and the great mill stood there in striking contrast; the mill and the houses expressing the indifference of the company to its human machines, the park the spontaneous expression of a great native desire, though choked down by long hours and the general oppressive dinginess,—the up-reaching, outreaching desire of the people for light, for air, for natural happiness, for development.

Drawn by Joseph Stella.

PITTSBURGH TYPES.

AN OLD SLAV.

Photograph by Lewis W. Hine.

WASH-DAY IN A HOMESTEAD COURT.


THE MILL TOWN COURTS AND THEIR LODGERS

MARGARET F. BYINGTON

FORMER DISTRICT AGENT, BOSTON ASSOCIATED CHARITIES

[Pg 913]

From the cinder path beside a railroad that crosses the level part of Homestead, you enter an alley, bordered on one side by stables and on the other by shabby two-story frame houses. The doors of the houses are closed, but dishpans and old clothes decorating their exterior, mark them as inhabited. You turn from the alley through a narrow passageway, and find yourself in a small court, on three sides of which are smoke-grimed houses, on the fourth, low stables. The open space teems with life and movement. Children, dogs and hens make it lively under foot; overhead long lines of flapping clothes are to be dodged. A group of women stand gossiping in one corner waiting their turn at the pump,—this pump being one of the two sources of water supply for the twenty families who live here. Another woman is dumping the contents of her washtubs upon the paved ground, and the greasy, soapy water runs into an open drain a few feet from the pump. In the center of the court, a circular wooden building with ten compartments opening into one vault, flushed only by this waste water, constitutes the toilet facilities for over a hundred people. For the sixty-three rooms in the houses about the court shelter a group of twenty families, Polish, Slavic, and Hungarian, Jewish and even Negro; and twenty-seven little children find in this crowded brick-paved space their only playground.

The cinder path has led us to the heart of the sanitary evils of the steel town. For this court typifies those conditions which result when there crowd in upon an industrial[Pg 914] district, hundreds of unskilled immigrant laborers, largely single men, largely country people, who want a place to sleep for the least possible cash. Most of the petty local landlords who provide quarters care nothing for the condition of their places, and regard the wages of these transients as legitimate spoils.

To determine the extent of such congestion, I made a study of the twenty-one courts in the second ward of Homestead, where yards, toilets, and water supply are used in common. In these courts lived 239 families, 102 of whom took lodgers. Even of those who lived in two-room tenements, a half took lodgers. Fifty-one families, including sometimes four or five people, lived in one-room tenements. One-half the families used their kitchens as sleeping rooms. Only three houses had running water inside, and in at least three instances over 110 people were dependent on one yard-hydrant for water. These are but fragmentary indications, but the situation seemed serious enough to warrant an intensive study, with the help of an interpreter, of these courts.

The background of life in this section is a gloomy one. The level land forming the second ward, cut off from the river by the mill and from the country by the steep hill behind, forms a pocket where the smoke settles heavily. Here, on the original site of the town, gardens as well as alleys have been utilized for building small frame houses. The space is nearly covered. In some instances these houses are built in haphazard fashion on the lots; more often they surround a court, such as I have described. Though they vary in character, these groups usually consist of four or six two-story houses facing the street and a similar number facing the alley. Between these rows is a small court connected with the street by a narrow passage. Fifty-eight per cent of the houses have only four rooms, and only four have more than six. The former class usually shelters two families, one having the two rooms on the street and the other the two on the court. In summer, to give some through ventilation to the stifling rooms, doors leading to the stairway between the front and rear rooms are left open. As the families are often friends and fellow countrymen, this opportunity for friendly intercourse is not unwelcome. Indeed, the cheerful gossip that enlivens wash day, like the card-playing in the court on a summer evening, suggests the friendliness of village days.

Nothing in the surroundings of these festivities, however, bears out the suggestion. Accumulations of rubbish and broken brick pavements, render the courts as a whole untidy and unwholesome. Some of the houses have little porches that might give a sense of homelikeness, but for the most part they are bare and dingy. As they are built close to the street with only this busy court behind, the owner can hardly have that bit of garden so dear to the heart of former country dwellers. Only, here and there, a little bed of lettuce with its note of delicate green or the vivid red of a geranium blossom brightens the monotony. Dreary as is the exterior, however, the greatest evils to the dwellers in the court arise from other things, from inadequate water supply, from meager toilet facilities, from overcrowding.

The conditions as to water supply are very serious. In all the twenty-one courts only three families had running water in their houses, and even the hydrants in the courts were not for individual families. In no court were fewer than five families using one hydrant or pump, while in exceptional instances there were as many as nineteen, twenty and twenty-one families. As waste water pipes are also wanting in the houses, the heavy tubs of water must be carried out as well as in. In this smoky town a double amount of washing and cleaning must be done. The wash is a heavy one, and when the weather permits, it is done in the yard. This addition of tubs, wringers, clothes baskets, and soapy water on the pavement to the already populous court makes it no very serviceable playground for children.

The toilet accommodations, while possibly more adequate than the water supply, are unsatisfactory in consequence[Pg 915] of the lack of running water. There is not a single indoor closet in any of these courts. The streets of Homestead all have sewers, and by a borough ordinance, even the outside vaults must be connected with them. These are, however, ordinarily flushed only by the waste water, which flows from the yards directly into them; when conditions become intolerable, the tenants wash them out with a hose attached to the hydrant. As long as they are in the yards, this totally inadequate device is apparently the only one possible. The closets, moreover, which are usually in the center of the courts only a few yards from the kitchen doors, create from the point of view either of sanitation or decency an intolerable condition. While occasionally three or four families must use one compartment, usually only two families need do so. But even this means that often they are not locked and that no one has a special sense of responsibility, in consequence of which they are frequently filthy. It is not perhaps surprising that this state of affairs is tolerated by people who have lived on farms and were used to meager toilet facilities; but the discomfort and danger here are infinitely greater than in the country, and here the conditions are remediable.

The overcrowding within the houses shown by the accompanying chart makes the water and toilet conditions more unendurable. Half the families who do not take lodgers and eighty-five per cent of those who do, average more than two persons to the room,—a number indicative, generally, of conditions which do not permit moral or physical well being.

Families Classified as to Average Number of Persons per Room.

Number of persons per room 1 2 3 4 5 5 plus
Families without lodgers, total, 137. percentage 13.8 35.7 38 9.7 1.4 1.4
With lodgers, Total 102, percentage 5.8 8.8 42 30.4 6.8 5.8

Let us consider first the causes of such congestion in so small a town, next its nature and results, and finally the possibility of improvement.

Three factors are involved in producing this state of affairs, the growth of the mill and town, the low wage of the laborer, and his ambition. The mill has developed fast, and in spite of improved machinery has rapidly increased the number of its employes. In 1892, at the time of the strike, 4,000 men were employed; now nearly 7,000, exclusive of the clerical force. Moreover at each addition to the size of the mill, homes are destroyed to give it place. And further, the steep slopes of a hill hinder the growth of the town. Although suburbs are gradually building beyond this hill, car-fare is an item to be considered when a man earns $1.60 a day, and as there have not been, except during the hard times of 1908, a sufficient number of cheap houses for rent, the people accustomed to small quarters have crowded together along these alleys. The lowest paid workingmen are naturally the ones that inhabit them. Of 220 men, eighty-eight per cent were unskilled workers receiving less than two dollars a day. This figure is usual among the Slavs, since of the 3,602 employed in the mill, eighty-five per cent are unskilled.

That the greatest overcrowding is in the families taking lodgers, shows a general tendency to economize in this way rather than by crowding the family into too small a tenement. The three dollars a month which the lodgers pay for their room might seem a small return for the labor and loss of privacy of home life; but in more than three-quarters of the families taking lodgers the income from them covered the rent, while in one-fifth of the families it was twice the rent or even more.

This tendency to economize even at the loss of home life, induced primarily by low wages, has a further cause in the ambition of the Slavs to own a home in a better locality, or to buy a bit of property in the old country to which they may some day return. Again and again in explaining why they took lodgers these excuses were given, "Saving to educate the children", "The father does not earn enough to support the family", "Taking boarders in order to start a bank account". Thrift, it would seem, is not a virtue to be recommended indiscriminately. Figures as to overcrowding are in themselves but a lifeless display; when you see them exemplified in individual homes they become[Pg 916] terribly significant. I entered one morning a two-room tenement,—the kitchen, perhaps twelve by fifteen feet, was steaming with vapor from a big washtub on a chair in the middle of the room. Here the mother was trying to wash, and at the same time to keep the elder of her two babies from going into a tub full of boiling water standing on the floor. On one side of the room was a huge, puffy bed, one feather tick to sleep on and another for covering; near the window a sewing machine, in the corner an organ,—all these besides the inevitable cook stove whereon in the place of honor was cooking the evening's soup. Asleep upstairs in the second room were one boarder and the man of the house. The two other boarders were at work.

Can you picture the effect on the mother of such a home, the overwork for her, the brief possibility of rest when the babies come? Yet it is even more disastrous to the children. And, as appears in the accompanying chart, many of the families who take boarders are families with children.

No CHILDREN WITH LODGERS FAMILIES WITHOUT LODGERS FAMILIES
0 30 ███████████████ 24 ████████████
1 30 ███████████████ 46 ███████████████████████
2 25 █████████████ 26 █████████████
3 10 █████ 22 ███████████
4 7 ████ 15 ████████
5 0 7 ████

The situation brings serious results both to the health and the character of the children. The overworked mother has neither time nor patience for their care and training. As half of the families use the kitchen for sleeping, there is a close mingling of the lodgers with the family which endangers the children's morals. In only four instances were girls over fourteen found in the families taking lodgers, but even the younger children learn evil quickly from the free spoken men. One man in a position to know the situation intimately, spoke of the appalling familiarity with vice among the children in these families. A priest told me that he preached to the women against this way of saving money, but as long as wages are low and the good ambition to own a home or have a bank account can find no other way of fulfilling itself, it is difficult to persuade them to give it up.

The crowding and other ills have also serious physical consequences. The birth rate and the deaths of children under two, show that while among the Slavs in the second ward a child died for every three that were born, among the other population of Homestead one died for every six that were born. Against many of these deaths was the entry "malnutrition due to poor food and overcrowding." Sadder still is the case of those wailing babies who do survive and begin life with an under-vitalized system ready for both the disease and the dissipation that attend weak bodies and wills.

Outside of the crowded tenement rooms where are the many children to play? In investigating the conditions in one narrow court, I opened a door into a low shed where the entrails of a chicken lay on the floor. It was foul and dark and I turned away in disgust, but the bright little boy beside me piped up cheerily, "Oh that's our gypsy cave." A sorry region, surely, for a child's imagination to rove!

[Pg 917]

Photograph by Lewis W. Hine.

EVENING SCENE IN A HOMESTEAD COURT.

[Pg 918]

Photograph by Lewis W. Hine.

SLAVIC COURT, HOMESTEAD.

Showing typical toilet and water supply; also a few of the boarders in these houses.

[Pg 919]

The congestion in Homestead must be considered not only from the standpoint of the family and the child, however, but of the single man. His problem is no small one. In the figures for the mill we find that 30.5 per cent of the total number of Slavs are unmarried. This large group, in the period before they send back for a wife or sweetheart, must find some sort of a home. While some are scattered in families and create the lodging problem we have been considering, others live in groups over which a "boarding boss" presides. In West Homestead, for example, in about twenty houses there were three hundred Bulgarians, among whom at the time of the depression there were only three women. These scattered houses hidden away on the outskirts of the town housed a group of happy, industrious men, all ambitious to hoard their money and return to the old country as men of property. They cared little how they lived so long as they lived cheaply. One of these homes consisted of two rooms one above the other, each perhaps twelve by twenty feet. In the kitchen I saw the wife of the boarding boss getting dinner, some sort of hot apple cake and a stew of the cheapest cuts of meat. Along one side of the room was an oilcloth covered table with a plank bench on each side, and above a long row of handleless white cups in a rack, and a shelf with tin knives and forks on it. Near the up-to-date range, the only real piece of furniture in the room, hung the "buckets" in which all mill men carry their noon or midnight meal. A crowd of men were lounging cheerfully about talking, smoking and enjoying life, making the most of the leisure enforced by the shutdown in the mill. In the room above, double iron bedsteads were set close together and on them comfortables were neatly laid. Here besides the "boarding boss" and his wife and two babies, lived twenty men. The boss, himself, was a stalwart Bulgarian who had come to this country several years ago, and by running this house besides working in the mill, had accumulated a good deal of money. The financial arrangements of such an establishment are simple. The boarding boss runs the house, and the men pay him three dollars a month for a place to sleep, for having their clothes washed, and their food cooked. In addition an account is kept of the food purchased, and the total is divided among the men at each pay day. The housewife purchases and cooks what special food each man chooses to order: beef, pork, lamb, each with a tag of some sort labeling the order, and all frying together. A separate statement is kept of these expenses for each boarder. Such an account for a group of men in a small Slavic household may prove of interest.

The family (which consisted of a man, his wife, his brother, and three children, eleven, eight, one, and four boarders), occupied a house of four rooms, one of them dark, for which they paid a rent of fourteen dollars. The man, though he had been in this country about twelve years, was still earning only $10.80 a week with which to meet the needs of his growing family. One-half the cost of the food was paid by the boarders including the brother, amounting for each man to about $1.06 a week. For the whole family, the expenditure was as follows: flour and bread, $2.03; vegetables, $1.06; fruit, $.56; milk, eggs, etc., $1.98; sugar, $.49; sundries, $.73; meat, $5.78; a total of $12.63. Besides this the boarders ordered "extras," and the following table for a month expresses the men's individual likings:

Expenses for the Month.

Pamhay. Baker. Drobry. Pilich. Timko.
Beef .87 1.20 .48
Pork 3.71 .92 2.14 3.04 2.30
Veal .90
Eggs .10 .05
Milk .21 1.90
Cheese .10 .19 .09 .05
Fuel .15 .25 .25
Total $3.96 $3.34 $3.04 $4.43 $2.88

This made the average total expenditure about $8.02 a month for each man. Adding $3 a month for room and washing, the total expense each is about $11. These men make from $9.90 to $12 a week. It is obvious therefore that a large margin remains for saving or indulgence, after clothes are provided. They are thus able if they will to send for wife and children, to fulfill their duties to aged parents, or to provide for their own future.

While this program is an economical one, it by no means furnishes to this great group of homeless foreigners a normal life. Though some expect to return and others to send for their families when they have made their fortunes, all for the time being are in a strange country with neither the pleasures nor restraints of home life.

To those who have no family at home or no desire to save, the temptation to spend money carelessly is great. Unfortunately the saloons get a large tribute. On pay Saturday, the household usually clubs together to buy a case of beer and drink it at home. These ordinarily jovial gatherings are sometimes interrupted by fights, and the police have to be called in. One officer, who had been on the force for nine years, said that while in general these men were a good-natured, easy-going crowd, and in all his experience he had never arrested a sober "Hunkie," when they were drunk [Pg 920]there was trouble. The punishment usually inflicted for their disorderly conduct is of course, a small fine, which has little or no effect. It is indeed currently said that the bigger the fine the better they like it, as they feel that it indicates increased importance.

A CONTRAST—I.

Photograph by Lewis W. Hine.

CLOSE QUARTERS. ONE ROOM AND THREE IN THE FAMILY.

It is not surprising that excesses exist in a town which offers so little opportunity for wholesome recreation, and whose leaders have failed to realize any obligation toward the newcomers. The Carnegie Library represents the only considerable effort to reach them. The clubs are open to the Slavs. Aside from a class in English, however, they are not adapted to non-English speaking people. Even the Slavic books which the library bought for their benefit are seldom used. I found that a number of the influential Slavs in Homestead did not know that these books were in the library; therefore I judge that one reason why they are not used is a lack of proper advertising. That the building is on the hill away from their homes, that it has an imposing entrance which makes the working man hesitate to enter, and that certain forms must be gone through before books can be secured, or the club joined,—these things have doubtless acted as deterrent influences. However desirous the management of the library may be to reach them, the Slav's ignorance of our language and customs will keep many from ever getting inside. If a library is really to reach the foreign population, it must not wait for them to come to it; it must go to them. A simple reading room opening right into the courts where the people live, where they could drop in after the day's work, find newspapers and books in their own tongue, and where the Americanized Slav could reach his newly-come brethren, teaching them both English and citizenship, would become an important center of influence.

For though these people are in many respects aliens, they are not unwilling to accept American standards. The quickness, for example, with which the women adopt our dress, reveals an adaptability which might find expression in more important ways. That they are glad when they can afford it, to have really attractive homes, is shown by these pictures. They are the homes of two families from the same place in the old country, one a newcomer, the other one of the "oldest inhabitants" of the Slavic community.

A CONTRAST—II.

Photograph by Lewis W. Hine.

INTERIOR OF HOUSE OF WELL-TO-DO SLAVIC FAMILY.

[Pg 921]

In the first instance, as the man earns but $9.90 a week, rent must be kept low if other bills are to be paid and a little provision made for the future. It is hard enough in a one-room tenement, though the furniture includes only absolute necessities, to keep all one's crowded belongings in order. On wash day morning, when this picture was taken, there are extra complications. On the whole, therefore, the home will be seen to be as neat as circumstances permit. The bright pictures on the wall manifest a desire to make it attractive.

The other picture, a "front room" with its leather covered furniture, is in a five-roomed house which the family owns. The vivid-colored sacred pictures relieve the severity of the room; and they reveal a dominant note of Slavic life, for if happiness is to stay with the family, the priest must come yearly to "bless the home." The family who came many years ago, has by slow thrift accumulated the means to obtain this house. And though the mother, who is now a widow, still takes boarders, the family has in general the standards of Americans.

This instance I introduce because it is well to recognize that low standards are not necessarily permanent. When Slavs do buy their homes, the size and attractiveness of them indicates that the unsanitary surroundings and crowded quarters of early days were simply tolerated until the ambition could be attained. With a house on the outskirts of the town, a garden about it, and a glimpse of the larger out-of-doors, they begin to feel that the dreams of their emigration have come true.

Only the few however have fulfilled the dreams and it is back in the squalid courts that we find the typical problems of every industrial center that has felt the tide of immigration. The Homestead community has so far shown a general indifference to the problems which its industry creates. The mill demands strong, cheap labor, but concerns itself little whether that labor is provided with living[Pg 922] conditions that will maintain its efficiency or secure the efficiency of the next generation. The housing situation is in the hands of men actuated only by a greed of profit. The community, on the other hand though realizing the situation, does not take its responsibility for the aliens in its midst with sufficient seriousness to attempt to limit the power of these landlords.

The Slavs themselves, moreover, are people used to the limitations of country life, and are ignorant of the evil effects of transferring the small rooms, the overcrowding, the insufficient sanitary provisions which are possible with all outdoors about them, to these crowded courts under the shadow of the mill. And, as we said, their ambition to save and buy property, here or in the old country, is a further incentive to overcrowding.

Summing up the results of the indifference of the community and the ignorance and ambition of the Slavs, we find a high infant death rate, an acquaintance with vice among little children, intolerable sanitary conditions, a low standard of living, a failure of the community to assimilate the new race.

As we waited in one of the little railroad stations of Homestead, a Slovak came in and sat down beside a woman with a two year old child. He made shy advances to the baby, coaxing her in a voice of heartbreaking loneliness. She would not come to him, and finally her mother took her away. As they went, the Slovak turned sadly to the rest of the company, taking us all into his confidence, and said simply, "Me wife, me babe, Hungar." But were his family in America, it would mean death for one baby in three; it would mean hard work in a little, dirty, unsanitary house for the mother; it would mean sickness and evil. With them in Hungary, it means for him isolation, and loneliness, and the abnormal life of the crowded lodging house.

Photograph by Lewis W. Hine.

BUCH ALLEY.

Showing conditions in the unpaved alleys.

[THESE SILHOUETTES REPRESENT 622 DEATHS IN 1907 FROM TYPHOID FEVER IN PITTSBURGH.]

THIRTY-FIVE YEARS OF TYPHOID
THE FEVER'S ECONOMIC COST TO PITTSBURGH AND THE LONG FIGHT FOR PURE WATER

FRANK E. WING

ASSOCIATE DIRECTOR PITTSBURGH SURVEY; SUPERINTENDENT CHICAGO TUBERCULOSIS INSTITUTE

One convincing and startling feature of the Pittsburgh Civic Exhibit in November was a frieze of small silhouettes three inches apart stretching in line around both ends and one side of the large hall in Carnegie Institute in which the exhibit of the Pittsburgh Survey was installed. The frieze was over 250 feet in length, and the figures were distributed in correct proportion by age and sex. They represented six hundred and twenty-two persons in all, the death-toll from typhoid fever in Pittsburgh during the year 1907. Accompanying this frieze, placed prominently over the doors where everyone could read them, were duplicates of the following sign in large display letters:


If the Death Rate Had Been 25 per 100,000, still considerably greater than that in Albany, Ann Arbor, Ansonia, Atlantic City, Binghamton, Boston, Bridgeport, Brockton, Cambridge, Canton, Detroit, Fall River, Hartford, Jersey City, Lawrence, Lowell, Milwaukee, New York, Rochester, St. Paul, Springfield, Syracuse, Worcester, and a score of other cities having a fairly pure water supply, but 114 of these persons would have died and the line would be only 2/9 as long.

Who is Responsible for this Sacrifice?


And next to this placard was another sign, showing in comparative columns the amount of typhoid fever in Pittsburgh during the four months that had elapsed since the opening of a great municipal filtration plant, compared with the amount for the same months of the previous year; for example ninety-six cases in October, 1908, as against 593 in October, 1907.

The typhoid problem in Pittsburgh in its larger cause has always been a water problem; in its consequences it has become one of the city's biggest social and economic problems; in its solution, it has been tied up with all the politics of a boss-ridden city. The story of filtration is the story of the navigation of an unwieldy craft through a tempestuous channel. Buffeted by cross winds of public opinion, its sails battered and torn by squalls of commercial opposition and abuse, guided now to the right and now to the left by frequently changing pilots, a plaything for the waves of councils, its booty coveted by buccaneers of each political faction, filtration and its freightage of health (or contracts) has been a prize over which the elements in the municipal life of Pittsburgh have battled hard and long. The docking of this craft in safety and security is one of Pittsburgh's greatest civic achievements; its protracted passage is her most enduring disgrace.

In handling the question of typhoid in Pittsburgh, we must then, deal with three distinct themes: water, economics, and politics.

Silhouettes are not here classified as to age, sex and occupation.

[Pg 923]

I.—WATER. THE MENACE.

The publicly supplied drink of Pittsburgh has been river water and whatever that river water contained. Prior to the opening of the new filtration plant last summer, that part of the city known as "old Pittsburgh," comprising the first twenty-three[9] wards, received its water supply from cribs in the bed of the Allegheny River at Brilliant Station, about seven miles above the city. Water taken from these cribs (and since 1905 from an artificial channel of sheet piling along the shore) was pumped into reservoirs on Herron Hill and Highland Park, and then turned unfiltered into the water mains for distribution to the shops and residences throughout the city.

[9] Ward numbers in this article refer to the existing or old notations. A new ward system has just been adopted.

With the exception of two or three wards, which receive a company supply of filtered water, that part of the city known as the South Side, comprising wards twenty-four to thirty-six, and ward forty-three, formerly the Borough of Sheraden, receives its water from the Monongahela direct, and from the Ohio direct, just below the junction of the Monongahela and the Allegheny. The former city of Allegheny, the present North Side, was supplied directly from the Allegheny River from two sources; first from the Allegheny at a point near Montrose, about eleven miles up the river, and second from another point on the Allegheny near Sixteenth street. This latter source of supply was discontinued on March 5, 1908.

[Pg 924]

THE NEW FILTRATION BASINS.

[Pg 925]

The Allegheny and the Monongahela Rivers are turbid at all times, and after a rain or in the spring, so muddy that a platinum wire cannot be seen more than a quarter of an inch from the surface. In addition to this, investigations have shown that the rivers commonly carry in solution the soluble chemical products of the mills along their shores,—organic and inorganic, acid and alkali; oils, fats, and other carbon compounds; dead animals,—rats, cats and dogs; flesh-disintegrated and putrescent; as well as the offscourings of iron and steel mills, tanneries and slaughter houses, and similar industries. But this is not all. Seventy-five up-river towns,—with an estimated population of 350,000 inhabitants,—in the Allegheny or tributary valleys; and in the Monongahela a long string of towns, Swissvale, Homestead, Braddock, Rankin and McKeesport, all furnish their supply of common sewage as a further contamination of the already dirty water with its long list of disease-breeding bacteria.

These conditions have existed since Pittsburgh came into prominence as an industrial center. Typhoid has been endemic. The duration of this "plague" in Pittsburgh, unbelievable though its sufferance may appear in view of the facts already given, is a matter of history and record. For thirty-five years, up to the beginning of 1908, the city was in the grip of a scourge which has been in the words of the most recent treatise on typhoid[10], "one of the black records in the sanitary history of our country." Here and there clamorous, indignant voices were raised against it; but public sentiment had become so callous that it only spasmodically and halfheartedly demanded the carrying into operation of a tardy system of filtration. In the meantime, those who could not afford to buy distilled or spring water, continued to drink this filth.

[10] Whipple, Typhoid Fever, p. 158.

With what result? For the last twenty-five years, an average death rate of 102.3 per 100,000 population; since 1889 never below 107; for the last nine years an average of 130; and last year, the year of the completion of Pittsburgh's filtration plant, 131.5 deaths and 1,115 cases for every 100,000 inhabitants. A black record this, in the face of uncontrovertible evidence from other cities, both in this country and abroad, that the purification of the water supply should blot out at least seven-ninths of the typhoid fever. In contrast with Pittsburgh's high mortality, the average for other large American and European cities since 1898 may be seen from the following list:

Pittsburgh130.0
Allegheny104.4
Washington59.0
Philadelphia54.7
Baltimore35.3
San Francisco30.5
St. Louis30.3
Chicago27.3
Boston24.5
New York18.2
Paris17.4
London11.7
Vienna5.2
Berlin4.2

The very even distribution of typhoid in Pittsburgh,—another indication pointing to infected water as the chief cause,—is seen in the map on page 927, on which each dot represents a case of typhoid within the year,—July 1, 1907, to June 30, 1908, the period covered by the main part of this study.

The second map shows the relative mortality, by wards, for the same period.

The following chart shows the relative rise and fall from year to year in cases and deaths during the past twenty-five years, and is based on estimates of population provided by the United States Census Bureau. The morbidity figures are taken from the United States census prior to 1901, and from the Pittsburgh Bureau of Health records following that year.

Previous to 1883 very little attempt was made to compel physicians to report typhoid cases to the Pittsburgh Bureau of Health; hence no reliable morbidity records are available up to that time. But in the year 1882 an ordinance was passed requiring such reports to be made. It is very certain that several years elapsed before a majority of the cases was actually reported, and even at the present time[Pg 926], in spite of prosecutions and a more enlightened sentiment, many cases never reach the bureau. Yet the number of cases actually reported in Pittsburgh proper, since 1883, reaches the astounding total of 54,857. In other words, within the past twenty-five years, one person to every six of the total population has had an attack of typhoid fever.

But even more telling in its significance is the fact that out of these 54,857 reported cases, 8,149, or 14.8 per cent died as a result of their illness. Over eight thousand men, women and children were sacrificed here in Pittsburgh in the last twenty-five years to a disease known by modern science to depend for its very existence upon lax methods of handling food, drink and waste. Over eight thousand graves have been dug, half of them (4,069) since February 6, 1899, more than nine years ago, when the report of Pittsburgh's Filtration Commission, advising the necessity of a pure water supply, was placed in the hands of the Pittsburgh councils. In life, these eight thousand people, standing single file, four feet apart, would form a line six and one-sixth miles long, extending from the court house in a straight line to the Filtration Plant; or from the Point Bridge down the Ohio as far as the Borough of Emsworth.

II.—THE COST.

In order to establish a sure ground for estimate as to the economic drain of this disease upon this community, a concrete study of the cost of typhoid in six selected wards of Greater Pittsburgh was undertaken by the Pittsburgh Survey. The sections of the city chosen are fairly representative of living conditions among the wage-earning population. Wards 8 and 11, in what is commonly known as the Hill District, represent a congested quarter made up largely of Russian Jews, Austrians and Italians, with a considerable number of Americans and American Negroes. The residents of these two wards are chiefly employes of the small trades and the sweating and stogie industries, clerks, factory hands, common laborers, etc., who are rather below the average scale of earning capacity. They number about 22,000 for the two wards and among them there were forty-four per cent of the cases studied.

Wards 25, 26 and 27 are on the South Side. Their total population is about 33,000; mill hands, mostly of Slavic origin, occupy those parts of these wards bordering the Monongahela River, and a better-off class of Americans occupy the hilltops overlooking the river. The wards would, therefore, represent a rather uneven population, as based on nationality or wage scale, but were not a large factor in this study, as only eight per cent of the case[Pg 927]s covered were found in these wards.

[Pg 928]

Ward 21, the other section selected, is in area one of the largest in the city, lying to the east in what is known as the Homewood District. The population of this ward is about 26,000, living mostly in good homes, with occasional poorer dwellings along the railroad and in some of the "runs." In the main, they represent a high wage or small salaried class. From this section, the other half of the cases studied, about forty-eight per cent was taken.

The period covered by the investigation was one year, beginning July 1, 1906, and ending June 30, 1907. The field work was done by Miss Anna B. Heldman, visiting nurse of the Columbian School Settlement, whose personal acquaintance with many of the families of the Hill District, and whose six or eight years' experience in caring for typhoid patients in this same neighborhood, enabled her to secure in detail many facts that might have escaped a person less familiar with the district or the families concerned.

An analysis of the cases thus studied, shows that there were either reported to the Pittsburgh Bureau of Health, or known to the investigator, but not reported, 433 cases of typhoid fever in wards 8 and 11, 94 in wards 25, 26, and 27, and 502 in ward 21—a total of 1,029 in these six wards within the one year studied. These cases occurred in 844 families. Miss Heldman, five months after the close of this year period, was able to locate but 338 of these families, the remainder having either moved out of the state, or been lost track of by people living in the neighborhood.

There were 2,045 individuals in these 338 families, or an average of 6.4 persons per family. Of this number, 448 individuals, or 22 per cent had typhoid fever within the year. Out of these 448 cases, there were 26 deaths and 422 recoveries, an exceptionally low percentage of deaths to cases.

Line representing 8,149 people who have died from typhoid fever in Pittsburgh since report of Filtration Commission in 1899 advising necessity of pure water. Standing in marching order, single file, four feet apart, they would make a procession six miles long.

[Pg 929] Of the 448 patients, 187 were wage earners, contributing all or part of their earnings to the family income. As a result of their illness, these 187 wage earners lost 1,901 weeks' work, or 36.6 years. This averaged over ten weeks per patient, and represented an actual loss in wages of $23,573.15. In addition, other wage earners lost 322 weeks' work while caring for patients, thereby losing $3,326.50 in wages, and bringing the total of wages lost to $26,899.65.

The other large item of cost is that of expense for care and treatment of patients. Ninety cases were treated in hospitals for all or part of the time, as pay patients, half-charity, or full-charity cases. To meet these hospital expenses, $2,332.00 was paid to hospitals by full-pay patients themselves, and $1,834.50 was paid the hospitals by either individuals or charitable organizations for the care of half-pay patients, making the total cost of caring for 90 hospital patients $4,166.50. This is an understatement, because it omits the contribution of the hospitals themselves to the care of half-charity and full-charity patients. If figures were available, there should be added the amount represented by the difference in the money paid to hospitals and the actual cost of maintenance, presumably another $1,800.[11]

[11] Out of the 448 cases studied, twenty-four of the ninety cases treated in hospitals were as full charity patients and sixteen were taken as half charity cases; of the 358 cases treated at home, fifty received outside aid and ninety-six were compelled to incur a debt for all of their expenses, with no immediate prospects of being able to repay it. Moreover, many received sick benefits and others were a direct drain on the business interests of the city from the fact that their employers kept them on their pay-rolls during sickness, at half pay.

The expenses of the remaining 358 patients cared for in their homes amounted to $12,889.90 for doctors' bills, $1,965.50 for nurses, $2,640.60 for medicines and drugs; $1,810.10 for milk, $629.20 for ice, $861.50 for servants made necessary by the illness of those naturally caring for the home, and $1,204.45 for other expenses, of which the largest single item was the cost of a trip to Colorado and return at the doctor's orders, for a patient threatened with tuberculosis. The total of these expenses was $22,000.35.

The funeral expenses of the 26 patients who died, amounted to $3,186.00. It may be argued that sooner or later funeral expenses must inevitably be met, and that they should not, therefore, be charged against this account. Under the circumstances, however, these expenses were premature, and were directly chargeable to typhoid fever. Consequently, it has seemed fair from the point of view of this study, to include them. The grand total loss in wages and in expenses thus outlined was $56,252.50.

Further analysis shows that the average loss in wages per patient among the 187 wage earners was $126; that the average cost per patient in loss of wages and expenses for the 446 patients was $128; and that the average cost in loss of wages and expenses for each typhoid death among the 448 cases was $2,164.

Consider the losses in these wards in their bearing upon the city as a whole.

There were 5,421 cases of typhoid fever in Greater Pittsburgh in 1907. If the cost to each patient was $128, typhoid fever cost the city that year $693,888 in expenses and loss of wages alone. There were 622 deaths from typhoid fever in Greater Pittsburgh during the same period. If we put the value of these lives lost at so low a figure as $4,000, an additional loss of $2,448,000 was sustained. Or in round numbers $3,142,000 was the minimum economic loss to the community of Greater Pittsburgh, due to typhoid fever alone in the year 1907. This is a conservative estimate, in view of recent values placed on deaths from tuberculosis.[12] The two and a half million dollar death item might be doubled without overstating the case.

[12] Prof. Irving Fisher, of Yale, in a paper read at the International Congress on Tuberculosis in Washington last October, held that "the money cost of tuberculosis, including capitalized earning power lost by death, exceeds $8,000 per death." The average "expectation of life" lost through death from typhoid fever is not greatly different from that of tuberculosis.

[Pg 930]

When it is considered that typhoid fever has been almost constantly prevalent within the city limits, with practically no abatement, for the past thirty-five years, it requires only a little applied mathematics to calculate the probable enormity of the money loss to the community, through the ravages of this disease alone, year after year. Was it not time for it to stop? In the face of over a $3,000,000 loss last year, $5,450,000 was not more than the city could afford to pay for the filtration plant that is purifying the drinking water. Nor was it extravagance for the mayor and city councils to grant the superintendent of the Bureau of Health an increased staff of tenement house and milk inspectors, to make it possible to clean up other sources of infection, and hasten the time when typhoid fever in Pittsburgh shall constitute a no greater menace than in any other well-kept American city.


I have used the term "economic cost" of typhoid fever with reference to Pittsburgh families. The mere phrase carries with it no knowledge of all those family readjustments and inconveniences, the distress of mind and unalloyed misery that must be considered before we can form any adequate idea of what such sickness holds for a wage earning population. Were it necessary to measure the result of typhoid fever only in cold cash, it would be a relatively easy task. In the first place there are the thousand and one makeshifts and re-establishments that must be reckoned with in order to get a clear idea of what typhoid means to those poorer families, where, without the invasion of sickness, the business of getting bread is a constant struggle. In a family consisting of a man, wife and three children, the sixteen year old daughter, who had not been very strong, contracted typhoid. At the end of sixteen weeks in bed and thirty-two weeks out of work, she had developed a marked case of tuberculosis. Not being strong enough to go back to her former employment, she secured work in a bakery where she was subsequently seen coughing as she wrapped up bread for customers. The father of this girl, during her sickness, was keeping six cows on the premises and selling milk to customers living in the neighborhood.

The twenty-year-old wife of a Hungarian laborer had a six weeks' old baby when she came down with a slow case of the fever. She remained at home for a week with no one but herself to do the work and care for the baby. The husband, who did not realize the cause of her weakness, gave her a beating each day when he came home, because he thought her lazy. He made her carry up coal for the fires until she became so delirious that he could not keep her in the house. She was then sent to a hospital and the baby given to friends. The woman died in a week and the baby two weeks later.

A family of five, consisting of father, mother and three little children, cooked, ate and slept in one uncurtained room. The mother and four year old girl were taken sick at the same time. The girl occupied an Arbuckle coffee box, with a pillow and pillow-case for a mattress, and the man's overcoat was her only covering. The mother slept in the only bed, furnished with a mattress and one small comforter, and shared it at night with the father, the baby and their six year old girl, who lay across the foot of the bed. The girl was in danger of contracting pneumonia from exposure. A family of seven occupied a store and kitchen on the first floor and two rooms upstairs. A small bedroom was the only one which had a fireplace; and the entire family slept there; the mother (who had typhoid), in the only bed, and the father and five children in a row on the floor.

In another family, the six year old boy had the fever, and was found lying on an improvised bed, his little dog tied[Pg 931] beside him. The mother had rested the ends of two boards in a china closet at one end of the kitchen, and on a chair at the other, so that she might care for the patient, do the cooking and attend to the baby at the same time. By this make-shift, the father was able to keep at his work.

One family, consisting of father, mother and five children, managed ordinarily with a bed for the parents, a child's bed for the eight year old girl, a two-third size bed for the eighteen and sixteen year old daughters, and a cot for the fourteen year and ten year old sons, one sleeping at each end. First the mother and one of the boys were taken sick, and during the early part of their illness, no one was disturbed. But within a month, and before the first two patients got well, the four other children came down with typhoid, making six in the family sick together. Then the father slept on the floor and the sick mother got out of her bed to give place to two of the children, she, herself, sleeping at the foot of the bed until one of the children became delirious. After that she moved to the foot of the two-thirds bed. In the day time she had no place to lie down, and sat all day in a chair until she became so weak that she could hardly walk. Occasionally she helped her husband who did the cooking and cared for the patients, by paring potatoes and doing other small work about the kitchen. No one had time to keep the kitchen sink clean, and the accumulation of vegetable matter became so filthy that it had to be reported to the Bureau of Health. With family income cut off, and with nothing saved, the family would have been penniless had it not been that the doctor made his bill moderate; the family was trusted for groceries, milk and ice; friends gave about twenty dollars in cash, and Columbian Settlement furnished bedding and the services of a visiting nurse. The mother did not fully recover for about six months. The father, who suffered a good deal from loss of sleep and exposure while caring for the patients, contracted a cold. This developed into a serious case of asthma from which he died.

To these and many similar families there were more serious results than the debts incurred. A school girl's unrecovered health, a stogie roller's reduced speed, a blacksmith's and a tailor's loss of strength, a case of tuberculosis developed, a boy become a truant, a family broken up and deserted, a baby's death,—all are of tremendous concern as items in the annual wear and tear of the city's potential resources. They are items of "economic cost" that cannot be handled by the statistical method. They are, after all, the real human finger marks that typhoid leaves when its clutches are loosened.


Such a showing, then, of actual economic and personal loss as this study of six Pittsburgh wards brought out, is offered as a final leverage to those who in other American cities may be endeavoring to dislodge inertia and clear their water supplies. This investigation of typhoid fever, however, as it was found in the households of the wage earners of Pittsburgh, had its immediate practical bearings. The sanitary facts it brought out showed unequivocally the necessity for ridding the city of other sources of infection at the same time that the water supply was cleared.

There was evidence that many of the after cases in the families studied, were due to conditions existing entirely apart from the water. Reports on housing conditions in Pittsburgh show that a favorable laboratory for the growth and dispersal of germs exists in the city's unsanitary dwellings. Insufficient water supply renders cleanliness almost impossible. Overcrowding means increased possibilities of infection through contact with food and drink in the combined family kitchen, pantry, dining-room, and[Pg 932] bedroom. Pittsburgh's thousands of open privy vaults afford ideal conditions for the spread of disease by flies and other insects, and by personal contact. Such plague spots as Saw Mill Run, with its string of double-and triple-decker rear privy vaults discharging on the banks of a stream which are flushed off only when the water rises after a rain, afford further examples, deplorable and disgusting.

How much of the Pittsburgh typhoid has been due to direct contagion from such conditions as these, can only be inferred at the present writing. In line with the general question of contagion, and secondary cause, however, our data afford some clews. They show that in forty of the families studied, the first case was followed in from ten days to one or two months by other cases, seventy-six cases in all, in addition to the original forty. It shows further that in at least eighteen of these families, one or more of the following conditions existed: Family crowded into one or two rooms; home dirty and poorly kept; the person who cared for the patient also doing the family cooking; well and sick members of the family sleeping in the same room and often in the same bed; privy vaults in exceedingly bad condition, and often stopped up and overflowing with filth. In one family, consisting of man, wife, four children and three lodgers, crowded into two dirty rooms, a three year old boy was taken sick in October. The mother did the family cooking and cared for the patient. The cesspool in the yard which was in bad condition was used by two families. Another member of the family became ill November 3, and the mother came down on December 19. There were seven cases in this one courtyard within the year.

In another instance a man, wife, and nine children were living in three rooms. The sixteen year old son was taken sick on June 20 and was sent to the hospital. Then in July came the thirteen year old daughter for whom her mother cared at home. The mother also did the family cooking. The father, mother and eleven year old son all slept in the same room with the patient. All three of them followed within a month, and another son twelve years old, was taken sick in August.

In another family of eight, the sink in the kitchen and the toilet in the yard were in a very filthy condition. The mother and one son were taken sick in August. The sick and the well slept together in the crowded bedrooms. In November four more members of the family came down with the disease, on the sixth, ninth, eleventh and fifteenth, respectively.

Let the reader judge for himself whether or not, in the face of these facts, it can be expected that filtered water alone will solve the problem.

The Pittsburgh Typhoid Fever Commission is a recognition of these facts, and a recognition also from a national and scientific point of view, that probably never again in the history of any large American city will there be such a favorable laboratory in which to study the epidemiological facts of typhoid fever both before and after filtration. The commission was appointed in April, 1908, by Mayor Guthrie; is made possible by a grant from the Russell Sage Foundation, and by the co-operation of the bureaus of health and water, which offered the free use of their laboratories for analytical and administrative purposes. Dr. James F. Edwards is chairman, and the membership includes Dr. Dixon of the State Board of Health, Prof. Wm. T. Sedgwick of the Massachusetts Institute of Technology, and Dr. E. S. Rosenau, of the Public Health and Marine Hospital Service, who has been directing the elaborate governmental investigations into typhoid in the District of Columbia. The following report is made (January[Pg 933] 1) by Dr. E. G. Matson, of the Pittsburgh Bureau of Health, executive officer of the committee.

The work of the commission to date has consisted of a minute investigation of all cases of typhoid which have appeared since May 1, 1908, including the sanitary condition of their living and working places. Investigations have also been made into neighborhoods where there appeared to be fewer cases than the average of the city, the milk supply, and the water supply, both public and private. It is remarkable that not even the smallest outbreak has been traced to milk. A particular feature of the study of water supply is that in connection with the acidity of the Monongahela and the eastern affluents of the Allegheny and its effect upon the sewage discharged by an enormous town population into them. So far typhoid has declined greatly in Pittsburgh since January, 1908, as compared with the average or even the minimum of previous years. This decline has naturally been a subject of great interest though it is too soon to give the results of investigations. We have ascertained that this decline has been shared by the towns on the lower Allegheny, which have hitherto been supposed to be the most important source of our epidemics. During November and December, which would represent the first months of the filtered water period, typhoid has been reported from the filtered water area at the rate of the most favorable American cities, and in Allegheny, which receives nearly the same water unfiltered, at about twice this rate.

III.—THE STORY OF THE LONG FIGHT FOR PURE WATER.

And now we come to the story of the long fight for pure water in Pittsburgh. The irony of the situation is, that there should ever have been a long fight in a city which has since 1863 publicly recognized the danger of impure water, the significance of which has almost continually been brought before the people by press and platform alike, for the past fifteen years. The story of the whole filtration movement cannot be separated from the story of the struggle for supremacy of contending factions in the dominant political party. And the result,—excess typhoid with its terrible cost,—becomes part of the penalty the city has had to pay for such corruption as the present graft proceedings in councils are bringing to light.

The situation at the beginning of the filtration movement in 1895-96 was this: One of the strongest political machines in the history of municipal government was in absolute control in Pittsburgh. It mattered not who was elected mayor; he had no responsible power. Heads of departments were appointed by outgoing councils. This meant that department heads held over, and used their power to re-elect as in-coming councilmen the outgoing councilmen who had elected them. Moreover, councils were controlled by the ring.[13] In this way the political machine was self-perpetuating. The directors of public works drew specifications for public improvements; councils awarded contracts; and it is a matter of notorious record that the well-known firm of which one of the ring leaders was a member usually secured the contracts.

[13] For an analysis of Pittsburgh politics during this period under the leadership of Magee and Flinn, see Lincoln Steffens's The Shame of the Cities.

The municipal election in February, 1896, was hard and bitterly fought. George W. Guthrie headed the reform party as candidate for mayor. According to one authority the majority of ballots cast were for Guthrie, but when the count came in officially a few days after election, the ring had won. With the mayor, both branches of councils, and the director of public works all of the dominant party, the carrying out of their ante-election pledges so far as filtration was concerned would seem a matter of course.

True to these pledges, a resolution for the appointment of a Filtration Commission, to include the mayor, the president of each council, and eight citizens,—making eleven in all,—passed [Pg 934]City Councils on June 8, 1896, and was approved by the mayor on June 10.

The commission was promptly appointed and set to work to make a thorough investigation into the relative merits of various methods of filtration and water supplies in use in cities of the United States and Europe. Allen Hazen, a leading expert on filtration, was employed for the first phase of the investigation, and Prof. William T. Sedgwick of the Massachusetts Institute of Technology, eminent as a sanitary expert, investigated the typhoid situation in the city. Morris Knowles, C. E., was appointed resident engineer in local charge of all items of experiment and investigation. Various members of the commission visited European and American cities to study filtration methods; extended bacteriological and analytical studies of the Allegheny River water were made; small, slow, sand filter beds and standard make mechanical filters were set up at the experiment station to test the relative merits of each as applied to Allegheny River water; and nothing was left undone as a means of arriving at a sound conclusion. Over two and a half years elapsed between the appointment of the commission and the rendering of its report.

The report, which was very elaborate, was presented at a joint session of councils on February 6, 1899, and showed that the members of the commission were united in their belief that, all things taken into consideration, a slow, sand filtration plant should be constructed. In accordance with its recommendation steps were immediately taken for the issue and sale of bonds to provide the necessary funds, a public election for this purpose being held on September 19, 1899. The appropriation ordinance for the year 1900 contained "No. 100; for the purpose of extension and improvement of water supply and distribution, including the filtration of such water supply, and providing and furnishing meters to be used in connection therewith ... $2,500,000." The ordinance authorizing the controller to issue bonds for the purpose as above specified was passed by Select Council in March, and approved by the mayor April 3. So that prior to May 1, 1900, a fund of $2,500,000 became available, and the prospect for the prompt erection of the plant would have been bright, but for the fact that during the four years since 1896 certain changes in the attitude of the members of the ring toward one another had taken place, that were destined to involve further complications. One member (Magee) had aspirations toward the United States Senate. In this he encountered opposition from the other end of the state, and in the struggle for state supremacy that followed, Pittsburgh was left largely to another member of the ring.

In the early part of 1900 E. M. Bigelow, who for a long time had been director of public works, had a row with this leader (Flinn) over certain matters of public work. The result was that on June 11, 1900, the ring-controlled councils threw Mr. Bigelow out of office and elected as director of public works a man more friendly to the ring.

This break between Flinn and Bigelow was the beginning of the long series of events that retarded the filtration movement for at least four years.

Bigelow was now "out." The new director of public works, appointed by councils was acceptable to the ring that was "in"; so was the membership of councils. The question with Bigelow was, naturally, how to get back into office. This is the way he accomplished his desire. The ousted director had a brother, who, it is said, had an old grudge against the ring.[Pg 935] He went to Harrisburg and prevailed upon the State Legislature to grant Pittsburgh a new charter, abolishing the office of mayor and substituting that of recorder, this office to be filled by the governor until April, 1903, when the regularly elected recorder would come into office. The charter also gave the recorder much larger powers than the mayor had previously enjoyed, among them the appointment of heads of departments and the right to enter into contracts hitherto the prerogative of councils alone.

As might be expected, the newly appointed recorder soon exercised the authority vested in him by the terms of the new charter, and on June 11, 1901, removed the head of the department of public works again installing Mr. Bigelow in that important position, just one year after he had been removed by councils.

It must be remembered that while Mr. Bigelow had again secured the directorship of the Department of Public Works, there had been no change in councils, which were still enrolled on the side of the ring. While councils could not now stop the preparation of plans and specifications for the proposed filtration plant, they could make a lot of trouble in other ways; and so they did.

There are contradictory statements at this time as to just how much progress had been made on plans during the year that Mr. Bigelow was out of office. One side claims that "sixty per cent of the plans had been drawn"; the other said, "only part of the plans." At any rate, within six weeks Mr. Bigelow removed the engineer who had served under his immediate predecessor, appointed as resident engineer Morris Knowles (who was later appointed chief engineer of the newly created Bureau of Filtration), and directed him to start work on plans for the filtration plant.

At the same time councils proceeded in an attack on the director for alleged delay in the preparation of plans; and on November 11, 1901, presented a report to its filtration committee declaring Mr. Bigelow entirely responsible for all the delay in the preparation of plans and specifications, adding that these delays had been "gross and inexcusable." This report was accompanied by a resolution ordering Director Bigelow to furnish within ten days, to the filtration committee, for its approval, all the plans and specifications for the work lying north of the Western Pennsylvania Railroad, directing him further to proceed with the utmost diligence to the completion of the plans and specifications for the remainder of the plant, and to submit the same to the filtration committee on or before December 2, 1901. The report and resolution were adopted by both councils on the day of their presentation. The real motive for this attack is readily inferred.

In the meantime the opposing faction had been working with the governor, and after a notorious meeting at the Duquesne club, the governor was prevailed upon to remove his first appointed recorder, on the pretext that he had displaced several old soldiers from office, and to appoint another recorder in his place,—this time a man upon whom the machine could rely. At the close of the letter of removal, the governor added a now famous postscript, "I was not bribed."

With the appointment of the new recorder, Bigelow was again forced out of the office of director of public works. This put the ring again in full control, with even greater powers than it had before. A year and a half had elapsed since the $2,500,000 became available, and all that the people had to show for it were eighty-five acres of land, part of the plans and specifications completed, and over 600 more deaths from the scourge of typhoid fever.

The next move was made within ten days after Director Bigelow's dismissal, when another ordinance for the letting of[Pg 936] the contract was introduced. It quickly passed both councils and received the recorder's approval. By this ordinance the contract was not to exceed $1,500,000 and was to be for the construction of "so much of the filtration plant as is shown upon the drawings and description in the specifications, as and to be known as contract No. 1."

Under this ordinance the new director advertised for bids, which were received and opened. It appeared that the lowest bid was made by the T. A. Gillespie Company, at about $1,292,000. The director and recorder were preparing to let this contract for part of the work to the Gillespie Company, and it looked as though the faction of the ring now in the saddle would win the stakes.

But they had not reckoned all the odds. The opponents of the ring, in this two-sided hold-up game, brought out another winning card. It was in the person of John P. Edgar, a citizen of Steubenville, Ohio, but the owner of property in the thirty-seventh ward, Pittsburgh, who entered suit in the United States Circuit Court at Pittsburgh for an injunction to restrain the recorder and director of public works from awarding the contract. The case was argued before Judge Buffington on March 3, 1902, W. B. Rodgers and George W. Guthrie appearing for the plaintiff, and Thomas D. Carnahan, city solicitor, for the city. Suit was based on the allegation that no estimate had been presented to councils for the whole cost of the improvement, and that the letting of this partial contract would be in violation of the new charter, which required that before any contract for public improvement could be entered into, such an estimate for the entire cost must have been presented. The city solicitor showed that an estimate had been made of the entire cost, but this estimate had not been made public or submitted to councils. Mr. Rodgers maintained that this estimate must be submitted to councils and approved by them. He and Mr. Guthrie also claimed that the contract should embrace the completion of the work. On March 13, 1902, Judge Buffington issued the injunction prayed for. The court held that the estimate of the whole cost, required by the charter, must be made to councils and become a matter of public information, and that such an estimate had not been made.

The machine was temporarily blocked, but five days after the injunction had been granted, the recorder instructed his director of public works to have blueprints, plans and estimates of the entire filtration system ready to present to councils at as early a date as possible, thus starting the necessary legal steps for placing a new contract. Within a month these plans and estimates, involving an expenditure of $3,635,500, were prepared and submitted to councils, and three ordinances for the letting of contracts were presented. The increase over the first estimate was explained as due to an increase in the number of services to be metered, and to a general increase in the cost of materials.

These three ordinances were indefinitely postponed, however, in councils, because more money for the construction of the plant under the increased estimate was not available.

The next hold-up came from the city controller, who on May 1, 1902, sent the following letter in duplicate to Recorder Brown and Director McCandless:

In view of the uncertainty attending the proposed filtration of the water, and the doubt as to the ultimate disposition of the matter by councils, this department desires to notify you that on and after May 10, no indebtedness against that appropriation for any purpose, except for labor or supplies previously furnished, should be incurred, as, under the decision of the court, there is now no authority for any expenditure for filtration purposes.

In the meantime, about April, 1902, and all through that summer, advocates of a mountain water supply were at[Pg 937] work. At the same time changes in councils threw out of the Filtration Committee members favoring sand filtration and elected opponents of the plan to its membership. The result was that on July 21, 1902, an ordinance was brought forward authorizing the Filtration Committee to prepare, in conjunction with the superintendent of the Bureau of Water Supply, or some other competent engineer designated by the director of public works, estimates showing the entire cost of the installation of the proposed sand filtration plant. Early in January, 1903, this resolution had passed both councils. It was, however, vetoed by the recorder on the ground that it was unnecessary, the Department of Public Works, he held, having already furnished full estimates, in good faith, and being ready to assist councils further in any manner that might be suggested. The recorder added in his veto: "If the purpose of this resolution is ultimately to defeat the proposed plan of sand filtration and substitute therefor a system of mechanical filtration, I am unalterably opposed to it." An attempt to pass the resolution over the recorder's veto was made, but it failed for lack of the necessary three-fifths vote.

In the meantime an ordinance was presented authorizing a public election for a bond issue large enough to cover the difference between the amount of money then available and the amount required under the increased estimate. All that came of this was an inquiry by the sub-committee to which it had been referred as to whether the new estimate included coverings for the filter beds, and whether the South Side was to be given filtered water. After ten months' further delay, this sub-committee reported that the estimate did not provide for covered filter beds and that it made no provision for the South Side. Another year and a half had elapsed, with 650 additional deaths from typhoid fever; 1,250 to date.

In April, 1903, by the election of Mayor Hays, the Bigelow faction again came into power and Mr. Bigelow was reappointed director of public works. Councils reorganized. A reform, or Bigelow man, was elected to the presidency of councils, control of committees was secured, and by the middle of 1903, the Bigelow faction was again in full power.

By this time the South Side was demanding filtered water. The new estimates presented by Director Bigelow in September, 1903, included ten filter beds for the South Side, and the raising of the pumping capacity for the first twenty-three wards by twenty million gallons, and included also, new machinery and boilers for the Brilliant pumping station, and a fifty-inch steel main across the city to supply the South Side and the Monongahela River wards of the old city. These brought the total new estimate up to over seven million dollars.

The time between September 21, 1903, and January 12, 1904, was required to get a resolution through councils and approved by the mayor, authorizing the finance committee to employ three experts, Col. Alexander M. Miller of Washington, John W. Hill of Philadelphia, and Rudolph Herring of New York, "to verify and make a report on or before March 1, 1904, to the committee on finance, as to the correctness of the estimates made by the director of public works."

Under this resolution the experts were employed and went to work. In the meantime, councils had received a petition from the Pittsburgh Section of the American Chemical Society, urging the establishment of a sand filtration plant; also a resolution of the Civic Club of Allegheny county, and a resolution of the permanent civic committee of the women's clubs of Allegheny county, urging sand filtration at an early date.

[Pg 938]

During 1903 there were 450 deaths from typhoid fever.

On February 27, 1904, the filtration experts made their report recommending a receiving basin, three sedimentation basins, a clear water basin, and forty filter beds. They also recommended sand filtration and covers for filter beds, but cut down the capacity of the various parts of the plant sufficiently to reduce the estimated cost by $700,000.

On March 31, 1904, the Bureau of Filtration in the Department of Public Works was created for the purpose of constructing these important works.

No further opposition of a serious character was met, and in July of that year a second bond election for $5,000,000 was held and passed by a vote of nearly two to one. These bonds were issued in September; plans and specifications for the enlarged plant were prepared as soon as possible; bids were advertised; and the contract was let on March 4, 1905.

With the final award of the contract the fight for pure water was practically won. Director Bigelow again stepped out of office in 1900 with the election of a mayor independent of either Republican faction; but the work of pushing the plant forward to completion was carried on by the Guthrie administration under the efficient supervision of Directors Clark and Shepherd, and Superintendent Knowles; so that by October, 1908, the plant was supplying a good quality of filtered water to the first twenty-three wards,—the old city.

The settling of the pending litigation between the city and the Monongahela and other private water companies on the South Side, together with the taking over of that property by the city was all that remained to be done before filtered water could be supplied to that part of the city.[14]

[14] In January, the Monongahela Water Company notified the city of its decision to abide by the decree of the Supreme Court, which granted permission to the city to take possession of this plant and system in consideration of $1,975,000.

In the meantime the North Side (Allegheny City) still has unfiltered water. Immediately after Allegheny was annexed to the Greater City in December, 1907, steps were taken to pave the way for filtered water there. $750,000 was appropriated for ten extra filter beds on city-owned land adjoining the plant, and their construction is now under way. Their use for the North Side involves extra pumping facilities, however. A plan to bring the old Allegheny pumping station at Montrose down to Aspinwall for this purpose was recently blocked by members of councils from the North Side. Satisfactory explanation for this action does not seem to be forthcoming. The reason alleged was that its removal would throw some of the men out of a job. In the meantime Allegheny continues drinking unfiltered water with no immediate prospect of relief, and the same sort of political influence that delayed filtration in the old city so long, seems to be accomplishing similar results on the North Side.


In conclusion, let me apply the economic facts brought out in the first section of this article, to the four years of unnecessary delays in the construction of the filtration plant, from April 3, 1900, to April 29, 1904. They must be considered in making up the whole bill of the city in the cause of pure water.

During all this time, more than $2,200,000, on which the city was paying three and one half per cent interest, was lying in the banks favored by the administration, bringing the city but two per cent; and the death rate from typhoid fever was the highest of any of the large cities in the United States. But for this delay the plant might have been brought to completion on January 1, 1904, or at least as far advanced as it was January 1, 1908, and four years,—1904, 1905, 1906 and 1907,—of excess typhoid fever might have been avoided. Not a startling statement, perhaps, on the face of it. But consider seriously what these four years of excess typhoid fever have meant to the people of Pittsburgh in deaths and economic cost. I have told you of but half of the people of six wards out of forty-three, one year out of four. In 1904, with an estimated population of 352,852, there were 503 deaths from typhoid in Pittsburgh. Cities with a fairly pure water supply do not have over twenty-five deaths annually per 100,000 population from typhoid. Had Pittsburgh's typhoid fever[Pg 939] death rate in 1904 been twenty-five per 100,000, there would have been but 88 deaths instead of 503, and the grim total of 415 lives would not have been blotted out. By allowing $2,000 as the cost in loss of wages and expenses for each death (a little under the actual costs in the concrete study of economic cost already given), and allowing our previous minimum of $4,000 as the value of each life, the total excess deaths in 1904 alone from lack of pure water was a loss to the community of $2,490,000.

There were 425 unnecessary deaths in 1906, and a wastage of $2,550,000; 289 unnecessary deaths in 1905, and a wastage of $1,734,000; 415 unnecessary deaths in 1904, and a wastage of $2,490,000. In the four years the community lost $9,000,000,—over $4,000,000 more than the cost of the filtration plant. And in those four years, 1,538 lives were unnecessarily sacrificed.

There are those who will say, and perhaps rightly, that Pittsburgh's filtration plant of to-day is the magnificent triumph of construction that it is, only because of those years of delay in shaping the final plans; that while those who fought the measure tooth and nail for so many years did not have that purpose in mind, yet the set-backs they were able to accomplish, have made in the end for a larger, better, more efficient and more far-serving plant than could have been possible, had the first plans been carried hastily to completion. Such may be the case. If so, let the people be thankful that the cause of pure water triumphed ultimately over a lethargic public sentiment, selfish political purposes, and municipal shortsightedness. Let them at the same time remember at what cost to themselves and to their city the fight was won. And let the plant itself stand as an object lesson of tardy justice, and a monument to those hundreds of lives that paid the penalty unwillingly and unknowingly of being part and parcel of an unaroused municipal conscience.

GROSS NUMBER OF TYPHOID CASES, 1885 TO 1907.


PITTSBURGH'S FOREGONE ASSET, THE PUBLIC HEALTH
A RUNNING SUMMARY OF THE PRESENT ADMINISTRATIVE SITUATION

SAMUEL HOPKINS ADAMS

[Pg 940]

Starting at the lowest level, let us formulate our initial axiom in terms of dollars. A sound man can do more work than a sick man. Therefore he can make more money. A sound city can do more work than a sick city. Therefore, in the long run, it can accumulate more wealth. Public health is a public asset. This is a truth which, in her single-minded purpose of commercial and industrial expansion, Pittsburgh long ago forgot, if, indeed, she ever stopped to realize it. Consequently, at a time when all the other great American cities have organized their forces thoroughly and are waging battle, with greater or less scientific skill, against that most potent of all destroyers, the germ, this mighty aggregation of half a million human beings has only just declared war, and has barely established its outposts. After two years of preparation to meet conditions which have been half a century in forming and solidifying, Pittsburgh's little regular army of defence now faces the most complicated problem of municipal betterment to be found in American hygiene.

A health bureau performs a defensive and protective function. Its intelligence department must keep it apprised of every manifestation on the part of the enemy; and it must rally to the threatened point to check the advance before it be too late, whether the emergency be a school epidemic of diphtheria, or a localized onset of typhoid. It must maintain a jealous watchfulness over the food and water supplies that are brought into the city, lest with them shall come the invading diseases. And its statistics of death and disability must point out for repair, the breaches made in its walls by the never-ceasing onslaught. Such a sanitary garrison has little rest, and no respites, for the besieging germ never sleeps.

The date of Pittsburgh's last annual health report is 1899. That fact is crammed with meaning. Strategically it means that for nearly a decade the sentries have all been asleep at their posts. Politically it has meant that those responsible for the administration of the city were too lethargic, too ignorant, or too indifferent to disturb that profound Rip Van Winkleism. Civically it means "Who cares!", and that companion gem, "What's the use?". Between public indifference, private selfishness, and political inertia, the germ has pretty well had its own sweet way with Pittsburgh, and the city's annual waste of life from absolutely preventable disease has been a thing to make humanity shudder, had it been expressed in the lurid terms of battle, holocaust, or flood, instead of the dumbly accepted figures of tuberculosis, typhoid, and infant mortality.

Presumably, before this article gets into print, the Pittsburgh health report for the year 1907 will have been issued. What laborious exhumation of dilapidated statistical skeletons that report represents, I have not space to explain here. The important and significant point is that the authorities are at last at work, and energetically, under the leadership of a skilled sanitarian, Dr. James F. Edwards, superintendent of the Bureau of Health. It would be pleasant to add that Dr. Edwards goes into action with his hands free; pleasant, but quite untrue. On the contrary, he is bound and hampered to an extent that would devitalize the efforts of any but the most patient of enthusiasts. His forces are not under his own control, since under the Pennsylvania system he is at the head, not of a department, but of a[Pg 941] bureau of the Department of Public Safety, administered by a layman. The law gives him no power to choose or discharge his own subordinates within the limits of the civil service; all that he can do is to train and educate such of them as most need it, when they come to him. He has no specific supervision or control over public or charitable institutions, those prolific culture-beds of contagion. Even the Municipal Hospital for Contagious Diseases has been taken out of his hands and put under other management. He cannot condemn a building inimical to the public safety, nor can he revoke a milk license. He cannot abate a nuisance without going to court for it. And, lest the powers of his bureau should wax too great and impinge upon individual privilege, old laws have been raked up and carefully interpreted to restrict the scope of its work. Yet in spite of all this, wonderful to say, the efforts of the bureau seem to have made an initial impress already on the death rate, and, even more important, to have gathered to its support some tangible force of public opinion.

"Seem to have made," I say, because figures in this connection are largely a matter of conjecture. Basis for any detailed comparison between present and past, is lacking. What is certain, however, is that the sanitary forces are doing work which must inevitably have its effect in life-saving in the future; and the efficacy, if not the qualitative result, of that work is hopefully apparent. The first attack was made on a condition of affairs which would have disgraced a country village, the prevalence of unprotected outhouses, scattered over the length and breadth of the landscape; not only lurking in the slums, but peering from the proud eminence of hilltops down upon the homes of wealth and elegance below.

Through the agency of flies in summer and of wind or heavy rains in winter, these relics of communal barbarity spread filth and contagion through the city. How many of them existed at their maximum will never be known. There are still six thousand survivors, but the number is being reduced daily. Proceeding under an ordinance which declares them illegal, Dr. Edwards began his campaign modestly. Opposition he foresaw, but he waited to keep it, as far as might be, sporadic, and to prevent it from concentrating. In the year 1905 only forty-six of these nuisances had been abolished. In 1906, six hundred of them fell. Thereupon the sensitive nerve of property rights thrilled the alarm throughout the commercial body. Reform was threatening rental profits; was becoming "radical," and "destructive." People with pulls, real or imagined, rushed to councils with demands for the repeal of the ordinance. But here an unexpected ally appeared. Destruction of the old meant construction of the new and modern, with much accruing increment to the plumbing trade. Therefore these shrewd business sanitarians hastened before the committee with lawyers and arguments, and so effectually backed up the case of the Health Bureau, that the repeal project was killed then and there. In the enthusiasm of well-won victory plumbers' supplies soared heavenward, with the result of bringing the unfortunate property owners down upon the Bureau of Health in agonized droves, begging for protection from the masters of the situation. Thereupon the bureau quietly allowed an extension of time, until the enthusiastic plumbers, somewhat chastened, saw the point and came nearer to earth in their prices; after which the process continued, and has been continuing, with accelerated progress. For the issue had now been decided. The proprietors of noisome property had lost the first skirmish. In 1907, 7,755 notices were served on recalcitrants, and 3,590 privies were abolished. By the end of 1910, Dr. Edwards hopes to have relegated these nuisances to a purely historical status.

Encouraged, the Bureau of Health sought from the Legislature the power to condemn unsanitary dwellings. At present, in order to destroy property prejudicial to the public health, the bureau must go to court and prove the conditions unsanitary,—a cumbrous, expensive, and uncertain process. It is not long since a presumably upright and intelligent occupant of the bench held that a house which leaked so badly[Pg 942] that the floors were rotted and the plaster peeled from the walls could not, on that account, be adjudged unsanitary. The bill passed the Legislature, prescribing condemnatory powers, with a proviso for court review and damages to the owner if the condemnation should be found unjustified. Governor Stuart vetoed the bill on the ground that it was too sweeping. If the local undertakers haven't passed a vote of thanks to the governor, they have missed a gracious opportunity. What would have been the one most effectual check upon the city's mortality, the wiping out of those death-in-life conditions of housing which make for tuberculosis, the active contagions, and above all the undermined vitality represented in Pittsburgh statistics under every division from general debility to suicide,—that the gubernatorial veto has effectually blocked. So certain large and small owners of slum property have an extension of immunity for their rentals drawn, at the worst, from premises where they wouldn't house their pigs,—particularly if they designed to eat the pigs afterward.

Evil housing conditions are almost invariably reflected in the mortality figures of tuberculosis. Yet Pittsburgh's given death rate from tuberculosis is low; hardly half the normal rate for American cities, in general: so low, indeed, that I doubt whether any sanitarian would give implicit credence to it. Similarly, the death rate from pneumonia and bronchitis is suspiciously high. For example, in 1907 there were a quarter as many deaths attributed to bronchitis, as to consumption, an incredible assumption. Dr. Matson, who is in charge of the bureau's statistics, has decided, with a wisdom born of experience, to regard fatal cases of bronchitis as belonging, statistically, in the pneumonia column; so I shall lump the two diseases. In the first eight months of last year (which is as far as the monthly figures have been supplied to me) there were but 565 deaths set down to tuberculosis in all forms, whereas the pneumonia and bronchitis totals aggregated upwards of 1,100. This is a condition which, so far as I know, has never been paralleled in any American city. The inference is inevitable that deaths, which should properly be ascribed to the great white plague, are reported by physicians under other heads. This is due, usually, to the influence of the decedent's family, who fear to lose their places if it be known that there is "consumption in the house," or who will perhaps, forfeit the insurance money if the true cause of death appear on the records. Very wisely Dr. Edwards is proceeding, not upon local certificates, which may lie, but upon universally recognized facts, which cannot; and is planning an exhaustive tuberculosis campaign. In this campaign will be concentrated the local official health force, the Pittsburgh Tuberculosis League, and the local dispensary of the State Board of Health, all working in conjunction with a special Tuberculosis Commission now in process of organization by the city government.

At present the consumptive poor of Pittsburgh have a small, practically a negligible chance of life. The great, rich, busy city that slowly kills them, has no means to care for them while they are dying. There is no municipal tuberculosis hospital. To be sure, Marshalsea, outside the city, can care for some thirty victims; but they are taken there, usually, only when they are too weak to resist effectually. For Marshalsea is the Poor House. And there is inbred in the American an indestructible, illogical, pathetically self-respecting something which makes the term "Poor House" a poison to his soul. Live he might, within those walls. He prefers to stay outside and die. The late Dr. Charles Harrington of the Massachusetts department, wisest and most human of health officials, said to me once in one of his characteristic bursts of impatience with the stupidity of Things as they Are:

"If I had the choice to make between naming a refuge for the helpless sick 'Poor-house' or 'Sure-Death,' I'd choose 'Sure-Death' every time. You could get more people to go to it."

Marshalsea doesn't save many of the consumptives who come to its gates. Non-consumptives it does save, indirectly, since it removes from a susceptible environment, a certain number of spreaders of infection. Private effort does its altruistic[Pg 943] but minute best in Pittsburgh; the Tuberculosis League has a hospital in which it can take care of fifty to sixty patients. And the State Board of Health relieves the situation a little by maintaining one of its admirable tuberculosis dispensaries in the city, with a staff of visiting nurses; and sends a few hopeful cases to its sanatoriums. Perhaps 100 victims of the plague can be cared for in proper institutions. There are to-day in the city probably 3,000 sufferers in a sufficiently advanced stage to be a peril to all with whom they come into contact. At a very moderate estimate three-fifths of this number are unable to afford proper home care, and of this three-fifths (all of whom will die, barring the few that can be accommodated in the hospitals) probably one-third,—again my estimate is conservative,—could be saved under proper conditions. That is, Pittsburgh of the mighty mills, Pittsburgh of the heaped-up millions, Pittsburgh of the rampant industrialism which has spread its influence to the far corners of the world, stands by helpless while six hundred lives are going out needlessly, not because they might not be saved, but because there is no place in which to save them. Nor is this the worst; since, in the slow process of dying, these victims will radiate the poison to hundreds, directly; indirectly to thousands, who are now well, strong, and unsuspecting the inevitable doom. What can the Health Bureau, the officially constituted army of defence, do to remedy this condition? Nothing. That is the answer which goes over the telephone wires, once, twice, half a dozen times a day, to people who ask for advice for helpless cases of consumption. I suppose that the sorriest duty of a health official, is to deny the application of some man upon whose life depends the support of other lives, for a fighting chance to get well and do his work in the world. Ask Dr. Edwards, oh comfortable resident Pittsburgher, how often he has had to do the very thing in the last year. It may give you new light on your civic responsibilities.

Not so often will that hopeless response be made in the future. The united forces, drawn together by the forming Tuberculosis Commission, will make it their first business to provide some refuge of increasing adequacy, for those who are now distributing the infection. Meantime, though there is little to be done for those already stricken, the city is being covered, district by district, by the visiting nurses of the league, of the State Dispensary and of the Health Bureau, soon to be re-enforced by five special nurses from the commission, and all training and instructing the consumptive in those measures of prevention which safeguard the people about him from contracting the disease.

One-third of all who die in Pittsburgh, die without having anything to say about it. That is, they die under five years of age. One-fourth of all who die, die without having anything to say about anything. That is, they die under one year of age. Most of these deaths are preventable, being the outcome of conditions which, humanly speaking, have no right to exist. Chief among the causes is bad milk. Pittsburgh uses 40,000 gallons of milk per day, coming from a wide radius in both Pennsylvania and Ohio. Before the present administration, this vitally important merchandise received rather less attention than the corner-stand vending of collar buttons. At the beginning of 1906 the Bureau of Health had one lone milk inspector. He collected samples, and, if one may judge by the brief records of analyses, he didn't imperil his own health by over-assiduity in the job. Dairy inspection was an unthought-of phase of activity. In August, 1906, two more inspectors were acquired and began, by prosecutions, to do some work in the matter of discouraging the use of formaldehyde. There was even some inspection of stores and adjacent dairies. Now the bureau has six men in the milk division, two of whom are dairy inspectors and one a veterinarian, and all of whom do conscientiously the work the city pays them to do. Two more have been arranged for, with which addition Dr. Edwards believes he will have a sufficient force to inaugurate a higher standard of supply. Unfortunately there is no official standard, though an ordinance is being prepared establishing bacterial and temperature requirements.[Pg 944] Unfortunately, too, the law has been interpreted to mean that the Bureau of Health must issue licenses on demand; and that it cannot revoke these licenses. What has been done thus far is chiefly in the line of educating the dairymen and dealers. Dr. Edwards admits frankly that, while he regards pasteurization as a make-shift only, he believes that it will be necessary for a time to accept the deteriorated quality of milk consequent upon pasteurization, for the sake of destroying the pathogenic bacteria with which the supply swarms. Analyses made last summer showed an average of a million bacteria per cubic centimetre. The limit of reasonable safety is usually set at half that number.

As for conditions as they existed at that time in certain local dairies, I can do no better than quote from the report of Dr. Goler, the health officer of Rochester and an international authority on milk supply:

Go out to one of those dairies near the country club which supplies milk to some of the families living in the best localities and see the conditions under which milk is produced for the future citizens of the state and the nation. A dirty one-room house that once did duty as an out-house, supplied with water by a hose, a few old tubs in which cans, bottles and utensils are washed in cold water, and where all the waste flows into a vault beneath the foundation of the house. A damp, dark, old stable festooned with cobwebs, without drainage, where all the liquid refuse finds its way through cracks in the floor to the space beneath the structure, and where, on filthy floors, in some cases raised but one poor plank above the common floor of the stable, the swill-fed cows stand and give milk for some of the babies of Pittsburgh aristocracy, whose parents are willing to pay the munificent sum of eight cents a quart for the product.

Visit cow stable after cow stable within easy motor ride from Pittsburgh, and the conditions of filthiness prevailing in the stables are only exceeded by the depth of manure and mud in the barnyards.

The conditions of the cows, cans, utensils and barnyards at the distant points from which the city draws its milk may be judged by the fact that they pasteurize the milk before bringing it to the city and pasteurize it again before it is sent out from the dairy.

Dairy inspection, it is fair to say, has recently ameliorated the worst of these conditions. Increasingly careful supervision of the retail milk dealers, and constant inspection of the less cleanly stores, which has discouraged many of them out of existence, tend to minimize the danger of contamination of milk at the other end of the line. There is, however, an additional peril in the well-water supply often used to wash cans and bottles.

The milk-inspection force faces a situation outlined in the latest complete figures (not yet in print); those for 1907, which show a total infant mortality of more than a thousand from diseases inferentially due to bad milk. The poorer quarters of the city where prices rule at six or seven cents a quart, exhibit the heaviest figures, and there is the typical rising curve of the mortality line in hot weather. Last summer that curve, while still unpleasantly in evidence, was noticeably modified. Education of mothers of the slums was largely responsible. The Bureau of Health put a corps of six special nurses in the field who went about from house to house, instructing mothers in the hygienic care of their children, and working in conjunction with the Pittsburgh and Allegheny Milk and Ice Association, one of the most efficient charitable enterprises in the city. Probably the infant mortality for the whole year of 1908 would have been low but for the winter epidemic of measles, which killed more victims than scarlet fever, diphtheria, smallpox, chickenpox, and all the other active contagions put together. Now the city, having learned a costly lesson in the seriousness of this too commonly disregarded disease, quarantines for it. It is perhaps, hardly ingenuous to include smallpox in the foregoing comparison, as that disease is now a practically negligible quantity. Since the epidemic of 1903 Pittsburgh has been the best vaccinated of American cities. Wherefrom depends a corollary for the consideration of the anti-vaccinationists, that for two years there has not been a death from this loathsome and unnecessary infection in the city, nor has a single original case developed.

DISEASE-INCUBATORS.

Some Pittsburgh cow-stables which lower the standards set by progressive producers.

We are prone, in this country, to study the public health too much in terms of death rates, and too little in the character of the survivors. Applying this latter test to the children of Pittsburgh's slums, we shall find cause to [Pg 945]wonder whether, in a sense, the deaths are not too few rather than too many. Would it not be better for the unfortunate and innocent victims themselves, and certainly for the community at large, that this puny, helpless breed of hunger, filth, and misery which creeps about the city's man-made jungles, should succumb in infancy to the conditions that bred but cannot support them? For there are certain phases of existence in which a high death rate is less to be feared than a high birth rate. Anti-race-suicide has a fine, rotund ring, as it issues from the presidential lips. But President Roosevelt has never, I take it, been in Mulberry Alley, or Our Alley, or a certain unnamed court off Washington street that wafts its stenches into the boulevard below, or any one of a score of other hopeless thoroughfares which might give him pause in the promulgation of his doctrine.

Nor are conditions of life here in the city's choked up center greatly worse than in the "runs" which diversify the landscape of the newer parts of the city; damp, heavy-aired, steaming canyons, into which the poorest classes have been pushed; over the rim, and "off the earth," as it were. There they live, pasty women and weazened children, in the heavy air, polluted, as like as not, by the stenches from the creeks which are little else but open sewers. One such little isolated population I found, in a huddle of houses, under a towering steel bridge, faithfully reproducing, in what was practically open country, the deadliest living conditions of the crowded center of population.

To return to the central slums, there are whole districts which might well (were it of any avail) be placarded, as are certain New York flats:

No Room Here For Children.

Settlement workers know the truth about this matter. Here are the words of one of them:

"Not one child in ten comes to us from the river-bottom section without a blood or skin disease, usually of long standing. Not one out of ten comes to us physically up to the normal for his or her age. Worse than that, few of them are up to the mental standard, and an increasing percentage are imbecile."

What can a Bureau of Health do to

(By permission of the Pittsburgh Bureau of Health).

WHERE HUMAN LIFE IS CHEAP.

[Pg 946] alleviate such a status? Nothing: the problem is too big for official solution. Either a sense of responsibility on the part of the mill owner toward his employes who must live near the mills will start a housing movement that will do away with the present outrageous rentals for disgraceful accommodations, or an aroused public conscience will, by one means or another, make a clean sweep of these pest holes. Or, a third, and ugly alternative. London's East End is open for the inspection of travelling Pittsburghers. There they may see in its fullness the crop of pauperism, dependence, and degeneracy which is bred in the third and fourth generations, of conditions no worse than their own average, and not so bad as their own worst.

As an escape from the slum there is the school. Here again Pittsburgh is in the dark ages of hygiene. Every public school is a law unto itself. The principal, always a layman, and not unusually an ignorant one in health matters, decides when a pupil shall be isolated for a contagious or suspicious ailment. Is it surprising that a short time ago a certain skin disease infected an entire institution, or that eye and scalp ailments are often widely diffused among the scholars? From an inspection of buildings and pupils Dr. Goler draws these conclusions:

The school buildings are in many cases crowded, dark, dirty, often of three stories, and bad fire risks. The condition of the children in these schools good and bad, rich and poor, may be shown by the large proportion having defective teeth, reduced hearing, imperfect vision. An excessively large number of them are mouth breathers, partially so because they are unable to breathe through their noses in the smoky air of Pittsburgh, and a very considerable number are below stature for weight of that determined for the average child. In a large percentage, the defects of teeth, nose and throat, bring them below the physical normal. These are the children that wear out in childhood.

[Pg 947]

PSEUDO-RELIGIOUS 10-CENT LODGING HOUSE.

In cellar of river-front building; flooded out every year. Dilapidated, unsanitary and unventilated, this and similar lodging houses were breeding place of disease. Closed by Bureau of Health, following investigation and report for Pittsburgh Survey, by James Forbes, mendicancy expert of the New York Charity Organization Society. A lodging house code has since been established.

[Pg 948]

In no manner of justice, can the Bureau of Health be held to account in this matter. In co-operation with the Civic Club, settlements, physicians and school principals, Dr. Edwards sought to establish a medical inspection of public schools, such an inspection as would, for example, undoubtedly have checked almost at its inception the disastrous onset of measles of last year. But the measure never got past the legal department of the city administration. In view of the present conditions in the schools, Dr. Goler's closing and pregnant suggestion has a special force:

"Ought not the Pittsburgh schools to be closed and the children repaired?"

Semi-public institutions in Pittsburgh are quite independent of hygienic control or inspection. This seems to me one of the crying evils of the present status. Let me give a few examples: An inmate of an institution for children was infected by another child who had virulent skin disease and soon afterward he became totally blind. This was a repetition of a past experience of the same institution in which a child contracted trachoma within the institution walls, is totally blind in consequence and a charge upon the state.

Last spring an institution was found in charge of a matron whose special qualification for her care of very young children was experience. She had had ten of her own, all of whom died of intestinal disease and rickets in early childhood. She was feeding the little ones in her care on coffee and other food suited only to robust grownups. Every child in a certain charitable institution, a short time ago, was suffering from skin and scalp disease. Lack of arrangements for effective isolation, in case of contagious disease, is more common than provision for isolation. A refuge for fallen women has, naturally, a large percentage of inmates suffering from venereal disease. The women of one refuge work in the laundry which gets a certain amount of outside trade. Among other things it washes towels for a hotel. Contraction of gonorrhea or syphilis from infected towels or garments is a well-recognized medical fact. A laundry with infected women on its working force cannot but be a public peril.

Grim facts are piling up on the records of the Pittsburgh Tuberculosis Dispensary as to advanced cases of tuberculosis among the little charges of charitable institutions.

Instances such as these might be multiplied. As in the case of the public schools the authorities are helpless. Even over the city's own institution, the Municipal Hospital, the Bureau of Health has no control. It has been transferred to the Bureau of Charities within the last year. It receives only contagious diseases, and is too small for the requirements in time of epidemic, having proper accommodation for only eighty, with a crowded capacity of 125. Dr. Booth of the Bureau of Health, who acts as visiting physician by special appointment to the Bureau of Charities, tells me that up to 1905 the plant was housed in buildings erected in the seventies. The furnishings were beds and bedding from the fire and police departments, regarded as being no longer fit for use by the city's paid servants, and therefore proper charity for the city's helpless sick. Two years ago, Dr. Booth put an end to this system by burning the last consignment of furnishings (for reasons principally entomological); and announcing that he would admit to the hospital no more equipment, discarded as unfit by the police and fire forces. Now the plant has its own furnishings. The building is modern but of an obsolete and unsatisfactory type, and has not sufficient grounds for its convalescents. All the other hospitals in the city are private institutions. There is no co-ordination of hospital work among them, and their distribution is such that localities where there are the most ambulance calls are without easily available hospital plants.

To sum up, these are some few of Pittsburgh's immediate needs, if it is to fight its battle successfully for fewer deaths and a better living product:

Autonomy of the official health authorities[Pg 949] (preferably a department of health, not a bureau) under the executive and administrative control of a physician or sanitarian.

A tuberculosis hospital for advanced cases which are now spreading infection throughout the city. More visiting nurses and more sanitary inspectors. Eventually a hospital for the incipient cases that can be saved.

Municipal collection and disposal of the rubbish which accumulates everywhere, seriously hampering efforts to make the city hygienically clean and which must now be removed at private expense.

A general hospital of sufficient size, proper equipment, and adequate surroundings.

Some reasonable division and co-ordination of effort on the part of the private hospitals.

Authority to condemn and destroy unsanitary buildings.

Authority to condemn and destroy, upon its entrance to the city, or upon discovery within the city limits, unclean, infected, or adulterated milk, and to refuse and revoke milk licenses. Establishment of a standard for milk.

Medical inspection of schools and school children.

Medical and sanitary inspection of hospitals, and of all public or semi-public chartered institutions.

These authorizations to be embodied in a city code. At present the health officials work almost wholly under the state law.


GERM HATCHERIES. THESE FRONT ON THE GRANT BOULEVARD.

What is Pittsburgh going to do about it? Though the foregoing rather general survey may suggest pessimistically "the little done, the undone vast," yet there is not lacking, in the view, definite promise as well as progress. Many and diverse agencies are helping the cause. The monthly reports of the bureau keep a public, which has for years been in a [Pg 950]state of Egyptian darkness as to the how and wherefore of its mortality, fully informed. A Civic Improvement Commission has been appointed by Mayor Guthrie, one of the sub-committees of which will deal with needed hygienic reforms. The Chamber of Commerce has appointed a special committee to co-operate with the Health Bureau for the betterment of housing conditions, and another to aid in improving the milk supply. For the protection of the communities downstream, a sewage disposal plant has been voted; and badly needed it is, as is shown by the fact that, at the present writing, two thousand people are ill in the suburb of Bellevue, from drinking water polluted by Pittsburgh's sewage. The Allegheny County Medical Society has constituted a committee on public instruction in health matters; also a milk commission. The Tuberculosis Commission will soon be in the field with its broad campaign. Municipally there has been an important step forward in the establishment of a disinfection corps which sterilizes and makes safe, at the public expense if necessary, the premises from which a consumptive has been removed. Anti-tuberculosis education by the various corps of visiting nurses is extending into every corner of the city that harbors a dangerous consumptive. The state school commission has recommended medical inspection of schools. City ordinances providing for milk standards, and rubbish disposal, are in prospect. The Bureau of Health, only a short time ago a rusted and ineffectual machine fed by incompetents from other departments, has, under its new head, developed an esprit de corps, and is now welded into a compact, dependable organization. And this organization will constantly have a supply of better trained men to draw upon, since the University of Pittsburgh and the Carnegie Technical Schools have, at Dr. Edwards's suggestion, arranged for special courses in sanitary engineering and practical hygiene.

Yes; Pittsburgh is awake to the needs of the situation. But the true test is yet to come. Thus far it has been but the laying out of the lines of battle and a few preliminary, and, on the whole, victorious skirmishes. For when hygienic and sanitary reform impinges, in its advance, as it needs must, upon the private purse of some, the political purposes of others, and the industrial and commercial license of the whole, then will come the tug of war. Then, according as shortsighted selfishness shall prevail over, or succumb to, civic pride and patriotism, the victory will be to the germ or to the city.

[Pg 951]

A SLUM IN THE OPEN.

[Pg 952]


Life Insurance satisfies the conscience, eases the mind, banishes worry and gives old age a chair of contentment.

Metropolitan Policies are the Standards of Life Insurance Excellence

Metropolitan Life Insurance Company
1 MADISON AVENUE, NEW YORK

(Incorporated by the State of New York. Stock Company.)


TYRREL PRINT, NEW YORK.

[Pg 953]

IT IS SUMMER IN
California, Arizona, Mexico, Texas, Louisiana,

You can Motor, Drive, Ride, Fish, Hunt, Bathe, Climb, Coach, Canoe, Yacht, Golf,

Every Day in the Year

Points in these States best reached via the

Southern Pacific Sunset Route

THE NATURAL WINTER GATEWAY
THE OPEN WINDOW ROUTE

Rock-Ballast Roadbed—Automatic Block Signals—Oil-Burning Locomotives—Superior Equipment.
Ten days' Stopover at New Orleans on all Tickets.

For free illustrated pamphlet address: L. H. NUTTING, G. E. P. A.,
349 Broadway, New York, or Southern Pacific Agent at

CHICAGO,
120 Jackson Blvd.
NEW ORLEANS,
Magazine St.
BOSTON,
170 Washington St.
PHILADELPHIA,
632 Chestnut St.
SYRACUSE,
212 W. Washington St.
BALTIMORE,
29 W. Baltimore St.

Please mention Charities and The Commons when writing to advertisers.

Transcriber's Notes:

Simple spelling, grammar, and typographical errors were corrected.

Multiple underscores indicate a long gap in the sentence.

*** END OF THE PROJECT GUTENBERG EBOOK 46025 ***